Tropical Low Pressure Systems
What is a Tropical Low Pressure System? An intense low pressure system with a closed circulation.  Also known as a hurricane, typhoon, cyclone and willy willies. Violent storms between 200 and 650km in diameter which can last for 2-3 days The most significant atmospheric hazard in terms of damage to property and loss of life
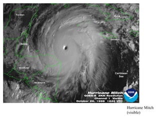
Hurricane Mitch (visible)
What are they like? The  eye  is very calm.  It is the center of rotation and contains  cool sinking air , so clouds can’t form.  The  lowest pressure  is found here. Deep convection is concentrated near the center in the  eyewall .  Warm, rising air  with very violent thunderstorms are found here.  The  strongest winds  are found here. Spiral  rainbands  branch out from the eyewall and also contain strong thunderstorms, heavy rain, and high winds.
 
The Birth of a Hurricane Steps to becoming a hurricane: Wave/Disturbance  (disorganized low pressure) Tropical Depression  (closed circulation) Tropical Storm  (winds higher than 39mph) Cyclones  (winds higher than 74mph)
So how does a tropical disturbance develop into a full blown cyclone, hurricane or typhoon?
7 Conditions (after Musk 1988) Ocean with surface temperature over 26 °C with warm water to a depth of 70m A disturbance in lower atmospheric circulation A large enough Coriolis Force to produce circular pattern of wind (7-20° N and S of the equator) Winds at all levels in the same direction ( little or no vertical wind shear) Excess heat is transported away from the storm by winds in the upper troposphere Rapid outflow of air in the upper troposphere is replaced by an inflow at ground level Unstable air with high humidity
The Role of Latent Heat
Spatial Distribution (Where?)
 
Temporal Distribution (When?) In the northern hemisphere storms can occur between June and late November The vast majority of activity is concentrated in September and October.  Why is this the case?
Saffir-Simpson Intensity Scale A scale used to label the strength of a tropical low pressure event by its pressure and winds. CAT 1 = minimal damage, CAT 3 extensive; CAT 5 catastrophic
Why do hurricanes, typhoons and cyclones decay and die?  Under what conditions will this take place?
Real Hurricanes Hurricane Mitch (visible) Hurricane Mitch (infrared) Hurricane Georges (radar)
What hazards are associated with tropical low pressure systems
 
How do humans respond to the hazard? How can the hazard be managed?
Modifying Vulnerability  vs.  Modifying the Event
Monitoring, Forecasting and Warnings Mostly done by use of geotsationary  satellites, doppler radar  and  aircraft .
Satellite Image Cyclone Sidr, Bay of Bengal.  November 2007
Radar Image Radar image of Hurricane Katrina, August 2005
Aircraft Reconnaissance
The End Product - Evacuation In the US for example, The National Hurricane Center (NHC Miami, FL) then inputs this evidence into complex computer models which generate storm track and strength predictions. These are used to issue  watches  and  warnings  for the areas that are likely to be affected. Accurate warnings can  save lives  because people have time to  evacuate .  Timing is however very important.  Evacuating the Florida Keys along the only highway would take 31 hours. Accurate Hurricane warnings are only really possible 12-18 hours in advance
 
 
 
Other ways to modify vulnerability Community preparedness Land-use planning
Modifying the Event Environmental control Hazard resistant design Modifying the loss; recovery and reconstruction
Spatial and Temporal Variations in the Human Response – Case Studies Bangladesh Katrina

2 introduction-to-hurricanes-1227475599659639-9

  • 1.
  • 2.
    What is aTropical Low Pressure System? An intense low pressure system with a closed circulation. Also known as a hurricane, typhoon, cyclone and willy willies. Violent storms between 200 and 650km in diameter which can last for 2-3 days The most significant atmospheric hazard in terms of damage to property and loss of life
  • 3.
  • 4.
    What are theylike? The eye is very calm. It is the center of rotation and contains cool sinking air , so clouds can’t form. The lowest pressure is found here. Deep convection is concentrated near the center in the eyewall . Warm, rising air with very violent thunderstorms are found here. The strongest winds are found here. Spiral rainbands branch out from the eyewall and also contain strong thunderstorms, heavy rain, and high winds.
  • 5.
  • 6.
    The Birth ofa Hurricane Steps to becoming a hurricane: Wave/Disturbance (disorganized low pressure) Tropical Depression (closed circulation) Tropical Storm (winds higher than 39mph) Cyclones (winds higher than 74mph)
  • 7.
    So how doesa tropical disturbance develop into a full blown cyclone, hurricane or typhoon?
  • 8.
    7 Conditions (afterMusk 1988) Ocean with surface temperature over 26 °C with warm water to a depth of 70m A disturbance in lower atmospheric circulation A large enough Coriolis Force to produce circular pattern of wind (7-20° N and S of the equator) Winds at all levels in the same direction ( little or no vertical wind shear) Excess heat is transported away from the storm by winds in the upper troposphere Rapid outflow of air in the upper troposphere is replaced by an inflow at ground level Unstable air with high humidity
  • 9.
    The Role ofLatent Heat
  • 10.
  • 11.
  • 12.
    Temporal Distribution (When?)In the northern hemisphere storms can occur between June and late November The vast majority of activity is concentrated in September and October. Why is this the case?
  • 13.
    Saffir-Simpson Intensity ScaleA scale used to label the strength of a tropical low pressure event by its pressure and winds. CAT 1 = minimal damage, CAT 3 extensive; CAT 5 catastrophic
  • 14.
    Why do hurricanes,typhoons and cyclones decay and die? Under what conditions will this take place?
  • 15.
    Real Hurricanes HurricaneMitch (visible) Hurricane Mitch (infrared) Hurricane Georges (radar)
  • 16.
    What hazards areassociated with tropical low pressure systems
  • 17.
  • 18.
    How do humansrespond to the hazard? How can the hazard be managed?
  • 19.
    Modifying Vulnerability vs. Modifying the Event
  • 20.
    Monitoring, Forecasting andWarnings Mostly done by use of geotsationary satellites, doppler radar and aircraft .
  • 21.
    Satellite Image CycloneSidr, Bay of Bengal. November 2007
  • 22.
    Radar Image Radarimage of Hurricane Katrina, August 2005
  • 23.
  • 24.
    The End Product- Evacuation In the US for example, The National Hurricane Center (NHC Miami, FL) then inputs this evidence into complex computer models which generate storm track and strength predictions. These are used to issue watches and warnings for the areas that are likely to be affected. Accurate warnings can save lives because people have time to evacuate . Timing is however very important. Evacuating the Florida Keys along the only highway would take 31 hours. Accurate Hurricane warnings are only really possible 12-18 hours in advance
  • 25.
  • 26.
  • 27.
  • 28.
    Other ways tomodify vulnerability Community preparedness Land-use planning
  • 29.
    Modifying the EventEnvironmental control Hazard resistant design Modifying the loss; recovery and reconstruction
  • 30.
    Spatial and TemporalVariations in the Human Response – Case Studies Bangladesh Katrina