Feline Stomatitis Update Brett Beckman, DVM FAVD, DAVDC DAAPM Immediate Past President American Veterinary Dental Society
 
 
Bartonella
Calicivirus
Herpes
 
Pain Management
 
 
Cocktail  Hour
 
vasg.org
 
 
 
 
 
 
 
 
 
 
 
 
 
 
 
 
 
 
 
 
Alternative Treatment Options
Antibiotics & Steroids
Cyclosporin
Virbagen  Omega
 
 
 
Regenerative Cell Therapy
Adipose Processing Thoracic Wall Collection Post Enzyme Incubation Stromal Vascular Fraction (SVF) Syringes containing  SVF
www.veterinarydentistry.net
Cyclosporin
Virbagen  Omega
 
 
 
Regenerative Cell Therapy
 
 
 
Technician Weekend Feline Dentistry Fall and Spring Retreat Oral Surgery I/PeriodontologyI Veterinary Dental Fall and Spring Courses www.veterinarydentistry.net
Adipose Processing Thoracic Wall Collection Post Enzyme Incubation Stromal Vascular Fraction (SVF) Syringes containing  SVF
 
Tissue Repair Extracellular Matrix Regenerative Cells Growth Factors
Mechanisms of Repair Inhibit fibrosis Angiogenic  Anti-apoptosis Stimulation of resident  tissue stem cells
Factors Secreted by Mesenchymal Stem Cells *   Interleukins— IL-3, IL-6, IL-7, IL-8,IL-11, IL-12, IL-14, IL-15 Neurotrophic Factors— NGF, BDNF, GDNF Growth Factors and Cytokines— LIF, VEGF, HGF, SDF, SCF, M-CSF, bFGF, IGFBP, Oncostatin M, MIP1-  , TIMP-1, TIMP-2, TGF  -1, TGF  -2, PDGF, EGF, KGF IL-1 RA (IL-1 receptor antagonist) *(not an all inclusive list) Caplan et al, 2006 Kilroy et al, 2007 Ortiz et al, 2007
Current Therapies Myocardial Infarction Stroke Orthopedic Injuries Graft vs. Host Autoimmune
Human Clinical Trials Chronic myocardial ischemia  Periodontitis Distal Tibial Fractures Acute myocardial infarction  Liver disease Amyotrophic lateral sclerosis Hurler syndrome  Metachromatic leukodystrophy  Giordano et al, 2007
 

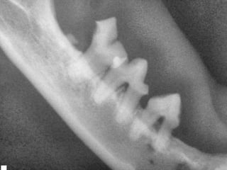
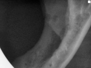
Veterinary Dentistry - Feline Stomatitis Update

Editor's Notes

  • #3 Concurrent oral shedding of feline calicivirus and feline herpesvirus 1 in cats with chronic gingivostomatitis Oral Microbiol Immunol. April 2003;18(2):131-4. M J Lommer 1 , F J M Verstraete 1 Department of Surgical and Radiological Sciences, School of Veterinary Medicine, University of California, Davis, CA 95616, USA. Abstract Oral mucosal salivary samples were collected from 25 cats with chronic gingivostomatitis and 24 cats with periodontal disease. Viral culture and isolation of feline calicivirus and feline herpesvirus 1 were performed. Eighty-eight per cent of cats with chronic gingivostomatitis were shedding both viruses, compared to 21% of cats without chronic oral inflammatory disease. Cats with chronic gingivostomatitis are significantly more likely to concurrently shed both feline calicivirus and feline herpesvirus 1 than are cats with classical periodontal disease
  • #5 THE ASSOCIATION OF BARTONELLA SPP. INFECTION WITH CHRONIC STOMATITIS IN CATS. KL Dowers , MR Lappin. Colorado State University, Fort Collins, CO. Stomatitis is a debilitating disease in cats that leads to oral pain, anorexia, weight loss, and occasionally euthanasia in intractable cases. The syndrome is thought to have multiple causes; recent work suggests that Bartonella spp. may play a role in some cases. Establishing a causative link between bartonellosis and stomatitis would justify routine testing of stomatitis cases and might suggest use of alternative antibiotic therapies, such as azithromycin. The objective of this clinical study was to determine the prevalence of Bartonella spp. DNA in blood and B. henselae serum antibodies in client-owned cats with histopathologically documented stomatitis as well as age- and geographically-matched healthy control cats. Blood and serum samples from 34 affected cats and 34 age-matched healthy control cats were submitted by veterinarians from around the United States. DNA of Bartonella spp. was amplified from blood via a previously validated polymerase chain reaction (PCR) assay and serum antibody titers against B. henselae were determined by ELISA. All cats were tested for FeLV antigen and FIV antibodies. For cases where oral biopsy samples were obtained at the time of blood sampling, the PCR assay was also performed on tissue samples. Survey information regarding housing status (multiple or single cat households), previous FeLV and FIV testing, flea exposure, vaccination history and history of upper respiratory infections (URI) were collected for both affected and control cats, and lesion details and treatment trials were collected for affected cats. No significant differences in the prevalence rates for PCR-positive cats between affected (8.89%) and control cats (8.89%) nor for antibody-positive cats between the affected group (67.6%) and the control group (58.8%) were found. The only survey factor with significant correlation with stomatitis was history of URI [p<0.05]. Of the 18 oral tissue samples submitted, only 1 was PCR-positive. This study underscores the difficulty of correlating Bartonella spp. test results with clinical disease in individual cats because of the high prevalence rates of antibody-positive animals within the healthy population, as reported in this and other studies. Treatment with anti- Bartonella spp. antibiotics may still be appropriate in refractory stomatitis cases, but a larger scale epidemiologic study should be conducted to further assess the usefulness of Bartonella spp. antibody and PCR testing of cats with chronic stomatitis.
  • #6 FCV has been isolated fro up to 100% of FCGS cases compared with 25 % in healthy cats. (Counts 94) Hennet – carrier state may be a prerequisite (2003) However when inoculating calici into SPF cats they could not produce stomatitis. (but did produce acute calinvirus. Clinical cases of FCGS are not related to distict FCV biotypes but the carrier stateThe role of FCV in the development of FCGS is unclear. FCV has been isolated from up to 100 per cent of FCGS cases compared with up to 25 per cent of cats in a healthy cat population (Coutts and others 1994), indicating that the carrier state may be a pre-requisite for the induction of chronic stomatitis (Knowles and others 1991, Hennet and Boucraut-Baralon 2003 7 ). However, FCV isolated from cats with FCGS and then inoculated into specific pathogen free cats produced signs of acute calicivirosis but not FCGS, suggesting that other factors contribute towards the development of the oral inflammation. Clinical cases of FCGS are not related to distinct FCV biotypes (Poulet and others 2000), but the chronic carrier state is characterised by the emergence of antigenically distant viruses. It is postulated that the rapid genetic and antigenic change seen in FCV may lead to immune escape and the development of persistent infections. This would suggest that development of FCGS is more likely associated with the host immune response to chronic FCV infection rather than the development of particularly pathogenic distinct FCV strains. Cats with FCGS have been shown to have raised serum concentrations of immunoglobulin (Ig) G, IgM and IgA and raised salivary concentrations of IgG and IgM but significantly lower concentrations of IgA (Harley and others 2003). IgA neutralises pathogens and toxins in the oral cavity, inhibits the adherence or growth of microorganisms on the oral mucosa or teeth and enhances non-specific defence factors. It is unclear whether the Ig pattern described is a cause or a result of the inflammatory disease. Histological examination of tissue from persistently infected cats indicates that FCV replicated only in epithelial cells of the superficial tonsilar epithelium or adjacent fossa mucosa (Dick and others 1989). Localisation occurs in the tonsils in the acute phase of FCV infection, possibly as a consequence of their function as a filter. The degree of tissue damage and viral invasion is insufficient to induce signifi- cant inflammation (Dick and others 1989). Most carriers are asymptomatic. It is possible that, in cats with some form of immune deficiency, the balance of this carrier state is affected and increase in virus UNCORRECTED PROOF replication and invasion stimulates a more severe immune response. The most common reported clinical sign associated with FIV is gingivostomatitis (Tenorio and others 1990, Willia 8 ms and Aller 1992), supporting the supposition that immune deficiency is an important factor in the development of FCGS. This case demonstrated a clear relationship between initiation of treatment with FeIFN, cessation of shedding of FCV and resolution of FCGS. This supports the view that FCV is an important factor in the development of FCGS (Addie and others 2003). However, the fact that FCGS often resolves in FCVpositive cats after the extraction of all teeth and the consequent reduction in dental plaque suggests that other antigenic stimuli are involved in the pathogenesis of the disease. As far as the authors are aware, this is the first case where the FCV status of a cat has been monitored before, during and after treatment with FeIFN and that FCV shedding ceased rapidly after the initiation of treatment. It is unclear whether the cessation of shedding is related to immunomodulatory or antiviral effects of FeIFN. One hypothesis is that, through its immunomodulatory effect, FeIFN reduces the inflammation associated with FCGS which eliminates the chronically inflamed tissue that FCV requires to replicate. This, however, ignores the fact that most cats shedding FCV are asymptomatic, with little or no oral inflammation, suggesting that chronic inflammation is not a prerequisite for the FCV carrier state or viral shedding. Therefore, it remains possible that the antiviral effect of FeIFN is more significant. FCGS resolves in many FCV-positive cats following full-mouth extractions without any specific antiviral treatment, supporting the hypothesis that a number of factors are involved in its development. Teeth provide the main surface for plaque accumulation in the oral cavity. Multiple tooth extraction will therefore greatly reduce oral plaque levels. It is possible that it is the sum of the total antigenic stimulation from plaque bacteria and viruses that is significant for the development of FCGS. Five other cases of FCGS (all of which were FCV positive, FeLV and FIV negative and had had surgical extraction of at least all premolar and molar teeth) have been treated with FeIFN in a similar way by the authors. FeIFN was given at 1 mega unit/kg by subcutaneous injection on alternate days for five doses, and this was repeated 30 days after the first injection. No oral FeIFN was given. Three of the five cases resolved. One cat improved but needed long-term management by flushing the oral cavity with 012 per cent chlorhexidene gluconate daily. The fifth case relapsed soon after the end of the treatment. Interestingly, this case has since completely resolved after a single treatment with intra-lesional injections of 5 mega units of FeIFN. No adverse effects following administration of FeIFN were noted in any of the above cases. FCGS is a common and debilitating condition in cats. Approximately 80 per cent of cases resolve with multiple tooth extraction. Treatment of the 20 per cent of non-responsive cases can be frustrating. The clinical improvement seen in the cases reported here would suggest that FeIFN therapy may be useful in cases that are refractory to surgical treatment. Retrospective Study of Full Mouth Extractions for Treatment of Chronic Stomatitis in 60 Calicivirus-positive Cats N. Girard, Ph. Hennet   Sixty cats were included in this retrospective study. Cats included in the study were referred for treatment of so-called feline chronic gingivo-stomatitis. All cats were under medical treatment at the time of inclusion. Inclusion criteria were presence of “palatoglossitis” lesions (caudal stomatitis), chronic Calicivirus oral carriage (detected par PCR), extraction of at least premolar and molar teeth, and at least 6 months of clinical follow-up following dental extractions. Various factors were statistically analysed (effect of disease duration, effect of previous treatment, effect of remaining inflammation, effect of dentakl treatments etc…). The main result on curing rate (Success Rate) can be summarized as such: §         SR Score 0 (cats do not take any treatment anymore):  50% of the cats §         SR Score 1 (cats take a lesser amount of medications than prior to dental treatment):     37% of the cats §         SR Score 2 (cats take same amount of medications than prior to dental treatment:  13% of the cats     ·        Relationship Between Oral Calicivirus & Herpesvirus Carriage & Palatoglossitis Lesions. Ph. Hennet, C. Boucraut-Baralon   Abstract of the paper: Sixty cats presented for treatment of “chronic gingivo-stomatitis” and showing inflammation of the mucosa lateral to the palatoglossal fold (caudal stomatitis) and 30 cats presented for the same condition but without caudal stomatitis were studied. Location and severity of oral lesions were recorded and oral calicivirus (FCV) and herpes virus (FHV) carriage was assessed through PCR technology. Buccostomatitis was observed in 83% of the cats presenting with caudal stomatitis. Prevalence of FCV carriage and FHV carriage in cats with caudal stomatitis was respectively 97% and 15% versus 30% and 14% in cats without caudal stomatitis. In cats without caudal stomatitis, prevalence of FCV carriage was 10% when cats with other Calicivirus-related oral lesions were excluded. FCV detection was significantly correlated to the presence of caudal stomatitis (p<0.0001). FHV carriage was not correlated with caudal stomatitis neither in cats non infected with FCV nor in cats coinfected with FCV. We suggest that chronic caudal stomatitis may be a calicivirus-associated lesion. Cats with chronic gingivo-stomatitis should be assessed for the presence or absence of caudal stomatitis.
  • #10 Following thermal, mechanical or chemical stimulation of primary afferents, the excitatory event must initiate a regenerative action potential involving  voltage-gated sodium, calcium or potassium channels culminating in neurotransmitter release if sensory information is to be conveyed from the periphery to the spinal cord dorsal horn.  And, within the dorsal horn, the CNS ‘decides’ if the message lives or dies.  The hypersensitization of windup is testimonial that the CNS dorsal horn is dynamic, and the important role of these voltage-gated ion channels make them attractive targets for novel and selective analgesics.   Windup is a form of activity-dependent plasticity characterized by a progressive increase in action potential output from dorsal horn neurons elicited during the course of a train of repeated low-frequency C-fiber or nociceptor stimuli. Mendell LM.  Modifiability of spinal synapses.  Physiological Reviews  1984;64:260-324  Repetitive discharge of primary afferent nociceptors results in co-release of neuromodulators such as substance P and CGRP, together with glutamate (the main neurotransmitter used by nociceptors synapsing with the dorsal horn) from nociceptor central terminals.  These neuropeptides activate postsynaptic G-protein-coupled receptors, which lead to slow postsynaptic depolarizations lasting tens of seconds. Woolf CJ, Salter MW.  Neuronal plasticity:  increasing the gain in pain.  Science  2000;288:1765-1769  Resultant cumulative depolarization is boosted by recruitment of NMDA receptor current through inhibition of Mg2+ channel suppression. The most involved receptor in the sensation of acute pain, AMPA (alpha-amino-3-hydroxy-5-methyl-isoxazole-4-propionic-acid), is always exposed on afferent nerve terminals.  In contrast, those most involved in the sensation of chronic pain, NMDA receptors, are not functional unless there has been a persistent or large-scale release of glutamate.  Repeated activation of AMPA receptors dislodges magnesium ions that act like stoppers in transmembrane sodium and calcium channels of the NMDA receptor complex.  Calcium flowing into the cell activates protein kinase C, the enzyme needed for NO synthase production of NO.  NO diffuses through the dorsal cell membrane and synaptic cleft into the nociceptor and stimulates guanyl synthase-induced closure of K+ channels.  Since endorphins and enkephalins inhibit pain by opening these channels, closure induces opiate resistance.  NO also stimulates the release of substance P, which by binding to NK-1 receptors in the dorsal horn membrane, triggers c-fos gene expressesion and promotes neural remodeling and hypersensitization.  Accompanying this windup, less glutamate is required to transmit the pain signal and more antinociceptive input is required for analgesia.  Endorphins cannot keep up with their demand and essentially lose their effectiveness.  The clinical implications are under-appreciated:  inadequately treated pain is a much more important cause of opioid tolerance than use of opioids themselves.  NMDA activation can also cause neural cells to sprout new connective endings. Long-term potential, or LTP, is the synaptic mechanism for learning. This occurs in glutamate synapses, which account for about 90% of the neural synapses in the central nervous system. Glutamate is a neurotransmitter in the amino acid family and always maintains an excitatory post-synaptic effect. It binds to NMDA and AMDA receptors. As glutamate is released from the synaptic vesicles of the pre-synaptic bouton, they cross the synapse and bind to the AMPA receptors on the post-synaptic dendrites. This causes a morphology change in the AMPA receptor, a membrane protein, and this change "opens" the protein gate and allows ions to cross the cell membrane. If the change in the membrane potential is significant enough, it will cause the post-synaptic neuron to initiate an action potential and relay the signal on to other neighboring neurons. However, when hyperstimulation of the post-synaptic neuron takes place, something unique happens. This can occur when there is frequent, successive firings from the pre-synaptic neuron or neurons (known as tetanization). This large depolarization of the post-synaptic neuron causes Magnesium cations, which normally block the NMDA receptors, to flush into the synapse which allows Calcium cations to rush into the post-synaptic neuron. Calcium causes a cascade of chemical reactions within this cell which result in gene expression. The outcome is that more AMPA receptors are produced (although this process does take some time to complete). Another effect is that a retrograde signal from the post-synaptic neuron is released by way of a chemical messenger which crosses the synapse and instructs the pre-synaptic neuron to increase its production of glutamate. These two "upregulations" essentially strengthen or amplify the synaptic connection so that in the future even a regular (non-tetanized) stimulation can still produce a large post-synaptic effect since there are more neurotransmitters being released and more AMDA receptors to receive them. It is this strengthening of connections which constitutes the somatic memory seen in neurons.
  • #11 The most involved receptor in the sensation of acute pain, AMPA (alpha-amino-3-hydroxy-5-methyl-isoxazole-4-propionic-acid), is always exposed on afferent nerve terminals.  In contrast, those most involved in the sensation of chronic pain, NMDA receptors, are not functional unless there has been a persistent or large-scale release of glutamate.  Repeated activation of AMPA receptors dislodges magnesium ions that act like stoppers in transmembrane sodium and calcium channels of the NMDA receptor complex.  Calcium flowing into the cell activates protein kinase C, the enzyme needed for NO synthase production of NO.  NO diffuses through the dorsal cell membrane and synaptic cleft into the nociceptor and stimulates guanyl synthase-induced closure of K+ channels.  Since endorphins and enkephalins inhibit pain by opening these channels, closure induces opiate resistance.  NO also stimulates the release of substance P, which by binding to NK-1 receptors in the dorsal horn membrane, triggers c-fos gene expressesion and promotes neural remodeling and hypersensitization.  Accompanying this windup, less glutamate is required to transmit the pain signal and more antinociceptive input is required for analgesia.  Endorphins cannot keep up with their demand and essentially lose their effectiveness.  The clinical implications are under-appreciated:  inadequately treated pain is a much more important cause of opioid tolerance than use of opioids themselves.  NMDA activation can also cause neural cells to sprout new connective endings Presynaptic membrane releases substance P and Glutamate when a a surgical stimulus is applied in the oral cavity. By having an opiod available to bind to opiate receptors and nmda receptor antagonist to bind the nmda receptor. We have created a barrier to transmission and a damper within the cord. If we have no such agents on board when the painful stimulus is produced. Where we get into trouble is when we allow that painful stimulus to continue. If that happens we get a condition called windup or central sensitization where the wide dynamic range neuron become hypersensitized so that even minor things like touch can produce significant pain. SO lets take a closer more scientific look at how this works. Like an electric transformer, these neurons (wide drynamic range) WDR facilitate non-noxious stimuli to a hyperalgesic state if continually stimulated. This stimulation occurs if the impule is allowed to reach the spinal cord second order neurons. This phenomenon is termed spinal "wind-up". The maladapted WDR neuron may induce allodynia, and treatment would be directed at diminishing activity at the second order neuron. The excitatory amino acids glutamate and aspartate are strongly algesic at the second order neuron. C-fiber nociceptor influence at the N-Methyl-D-aspartate (NMDA) receptor is currently an important part of pain therapy research. Blocking the NMDA receptor relieves many painful disorders that are resistant to therapy, including allodynia and neuropathic pain. For example, a readily available NMDA receptor antagonist is dextromethorphan found in over-the-counter cough suppressants. Dextromethorphan may modulate neuropathic and other resistant painful disorders, alone or in combination therapy. And this has led us to appreciate that central sensitization has a second, late phase, one that requires transcription of some genes, and in particular this involves COX-2. So the photomicrograph on the right shows immunostaining for COX-2 after peripheral inflammation, and now we see many neurons expressing COX-2. What we realize is that the COX-2 expressed within these dorsal horn neurons produces prostaglandins, and this has multiple activities. The prostaglandins can act on the central terminals--the presynaptic terminals of nociceptive sensory fibers--to increase transmitter release. They can also act postsynaptically on the dorsal-horn neurons producing a direct depolarization. And finally, it has been appreciated that prostaglandins can inhibit the action of glycine receptor, which is an inhibitory transmitter. And together, all of these actions, the central actions of prostaglandins, act to produce an increase in excitability of neurons. So we have peripheral changes increasing the peripheral excitability of nociceptor terminals, which is peripheral sensitization driven by prostanoids. And we now appreciate that a similar, analogous change occurs within the central nervous system.
  • #14 Go to the web page. Click support material on the menu. There is a list of documents there that include the charts that I just showed you. Last time that I looked they could not yet be downloaded directly from the server, however if you email them with your specific request they will send them to you as an email attachement.
  • #37 then start 25mg Atopica QD or 50mg EOD.
  • #43 To isolate ASCs, first the veterinarian performs a lipectomy in one of a number of locations including the thoracic wall. The fat sample is shipped in validated boxes to our lab. Through a process of enzymatic digestion, washing and centirfugation, the stromal vascular fraction is isolated. The SVF is a heterogenous mixture of cells including….next page
  • #45 then start 25mg Atopica QD or 50mg EOD.
  • #55 To isolate ASCs, first the veterinarian performs a lipectomy in one of a number of locations including the thoracic wall. The fat sample is shipped in validated boxes to our lab. Through a process of enzymatic digestion, washing and centirfugation, the stromal vascular fraction is isolated. The SVF is a heterogenous mixture of cells including….next page
  • #58 Mesenchymal stem cells as trophic mediatorsArnold I. Caplan *, James E. DennisDepartment of Biology, Skeletal Research Center, Case Western Reserve University, 2080 Adelbert Road, MSC 118, Cleveland, Ohio 44106-7080 email: Arnold I. Caplan (arnold.caplan@case.edu)*Correspondence to Arnold I. Caplan, Department of Biology, Skeletal Research Center, Case Western Reserve University, 2080 Adelbert Road, MSC 118, Cleveland, OH 44106-7080. KeywordsMSCs • stroke • meniscus • cardiacAbstractAdult marrow-derived Mesenchymal Stem Cells (MSCs) are capable of dividing and their progeny are further capable of differentiating into one of several mesenchymal phenotypes such as osteoblasts, chondrocytes, myocytes, marrow stromal cells, tendon-ligament fibroblasts, and adipocytes. In addition, these MSCs secrete a variety of cytokines and growth factors that have both paracrine and autocrine activities. These secreted bioactive factors suppress the local immune system, inhibit fibrosis (scar formation) and apoptosis, enhance angiogenesis, and stimulate mitosis and differentiation of tissue-intrinsic reparative or stem cells. These effects, which are referred to as trophic effects, are distinct from the direct differentiation of MSCs into repair tissue. Several studies which tested the use of MSCs in models of infarct (injured heart), stroke (brain), or meniscus regeneration models are reviewed within the context of MSC-mediated trophic effects in tissue repair. J. Cell. Biochem. 98: 1076-1084, 2006. © 2006 Wiley-Liss, Inc.
  • #60 Published as doi: 10.1096/fj.06-6558com. ( The FASEB Journal . 2007;21:3197-3207.) © 2007 FASEB This Article Full Text Full Text (PDF) All Versions of this Article: fj.06-6558comv1 21/12/3197     most recent Alert me when this article is cited Alert me if a correction is posted Services Email this article to a friend Similar articles in this journal Similar articles in PubMed Alert me to new issues of the journal Download to citation manager Citing Articles Citing Articles via HighWire Citing Articles via Google Scholar Google Scholar Articles by Zhang, M. Articles by Penn, M. S. Search for Related Content PubMed PubMed Citation Articles by Zhang, M. Articles by Penn, M. S. SDF-1 expression by mesenchymal stem cells results in trophic support of cardiac myocytes after myocardial infarction Ming Zhang ,1, Niladri Mal ,1, Matthew Kiedrowski , Matthews Chacko*, Arman T. Askari , Zoran B. Popovic*, Omer N. Koc , and Marc S. Penn*, , ,2 Departments of * Cardiovascular Medicine, and Cell Biology, Cleveland Clinic Foundation, Cleveland, Ohio, USA; Division of Hematology and Oncology, Case Western Reserve University, Cleveland, Ohio, USA; and Center for Stem Cell and Regenerative Medicine, Cleveland, Ohio, USA 2Correspondence: Bakken Heart-Brain Institute, NE30, Departments of Cardiovascular Medicine and Cell Biology, Cleveland Clinic Foundation, 9500 Euclid Ave., NC10, Cleveland, OH 44195, USA. E-mail: [email_address] Stem cell transplantation at the time of acute myocardial infarction (AMI) improves cardiac function. Whether the improved cardiac function results from regeneration of cardiac myocytes, modulation of remodeling, or preservation of injured tissue through paracrine mechanisms is actively debated. Because no specific stem cell population has been shown to be optimal, we investigated whether the benefit of stem cell transplantation could be attributed to a trophic effect on injured myocardium. Mesenchymal stem cells secrete SDF-1 and the interaction of SDF-1 with its receptor, CXCR4, increases survival of progenitor cells. Therefore, we compared the effects of MSC and MSC engineered to overexpress SDF-1 on cardiac function after AMI. Tail vein infusion of syngeneic MSC and MSC:SDF-1 1 day after AMI in the Lewis rat led to improved cardiac function by echocardiography by 70.7% and 238.8%, respectively, compared with saline controls 5 wk later. The beneficial effects of MSC and MSC:SDF-1 transplantation were mediated primarily through preservation, not regeneration of cardiac myocytes within the infarct zone. The direct effect of SDF-1 on cardiac myocytes was due to the observation that, between 24 and 48 h after AMI, SDF-1-expressing MSC increased cardiac myocyte survival, vascular density (18.2±4.0 vs. 7.6±2.3 vessels/mm2, P <0.01; SDF-1:MSC vs. MSC), and cardiac myosin-positive area (MSC: 49.5%; mSC:SDF-1: 162.1%) within the infarct zone. There was no evidence of cardiac regeneration by the infused MSC or endogenous cardiac stem cells based on lack of evidence for cardiac myocytes being derived from replicating cells. These results indicate that stem cell transplantation may have significant beneficial effects on injured organ function independent of tissue regeneration and identify SDF-1:CXCR4 binding as a novel target for myocardial preservation.—Zhang, M., Mal, N., Kiedrowski, M., Chacko, M., Askari, A. T., Popovic, Z. B., Koc, O. N., Penn, M. S. SDF-1 expression by mesenchymal stem cells results in trophic support of cardiac myocytes after myocardial infarction.
  • #61 1: Tissue Eng Part A. 2008 Jun;14(6):945-53. Links Periodontal tissue regeneration with adipose-derived stem cells. Tobita M , Uysal AC , Ogawa R , Hyakusoku H , Mizuno H . Department of Plastic and Reconstructive Surgery, Nippon Medical School, Tokyo, Japan., Department of Dental and Oral Surgery, Japan Self Defense Force Yokosuka Hospital, Kanagawa, Japan. A number of surgical techniques have been developed to promote periodontal tissue regeneration. Bone marrow-derived stem cells have also been shown to promote periodontal tissue regeneration. In this study, we sought to determine whether adipose-derived stem cells (ASCs) can promote periodontal tissue regeneration as well. ASCs were isolated from a Wistar rat, passaged twice, mixed with platelet-rich plasma (PRP) obtained from inbred rats, and implanted into the periodontal tissue defect that had been generated in the test rats. Tissue specimens were harvested after 2, 4, and 8 weeks for histological analysis. Rats that received PRP only or were not implanted served as controls. A small amount of alveolar bone regeneration was observed 2 and 4 weeks after ASC/PRP implantation. Moreover, 8 weeks after implantation, a periodontal ligament-like structure was observed along with alveolar bone. These observations suggest that ASCs can promote periodontal tissue regeneration in vivo. Because large amounts of human lipoaspirates are readily available, and their procurement induces only low morbidity, ASCs may be useful in future clinical cell-based therapy for periodontal disease. Hurler syndrome , also known as mucopolysaccharidosis type I ( MPS I ), Hurler's disease or gargoylism , is a genetic disorder that results in the buildup of mucopolysaccharides due to a deficiency of alpha-L iduronidase , an enzyme responsible for the degradation of mucopolysaccharides in lysosomes . Without this enzyme, a buildup of heparan sulfate and dermatan sulfate occurs in the body. Symptoms appear during childhood and early death can occur due to organ damage. Lysosomal Storage Disease The condition is marked by , hepatosplenomegaly , dwarfism and gargoyle -like faces. There is a progressive mental retardation , with death frequently occurring by the age of 10 years. Developmental delay is evident by the end of the first year, and patients usually stop developing between ages 2 and 4. This is followed by progressive mental decline and loss of physical skills. Language may be limited due to hearing loss and an enlarged tongue . In time, the clear layers of the cornea become clouded and retinas may begin to degenerate. Carpal tunnel syndrome (or similar compression of nerves elsewhere in the body) and restricted joint movement are common. Affected children may be quite large at birth and appear normal but may have inguinal (in the groin) or umbilical (where the umbilical cord passes through the abdomen ) hernias. Growth in height may be initially faster than normal, then begins to slow before the end of the first year and often ends around age 3. Many children develop a short body trunk and a maximum stature of less than 4 feet. Distinct facial features (including flat face, depressed nasal bridge, and bulging forehead) become more evident in the second year. By age 2, the ribs have widened and are oar-shaped. The liver , spleen and heart are often enlarged. Children may experience noisy breathing and recurring upper respiratory tract and ear infections . Feeding may be difficult for some children, and many experience periodic bowel problems. Children with Hurler syndrome often die before age 10 from obstructive airway disease , respiratory infections , or cardiac complications. What is Metachromatic Leukodystrophy? Metachromatic leukodystrophy (MLD) is one of a group of genetic disorders called the leukodystrophies. These diseases impair the growth or development of the myelin sheath, the fatty covering that acts as an insulator around nerve fibers. Myelin, which lends its color to the white matter of the brain, is a complex substance made up of at least 10 different enzymes. The leukodystrophies are caused by genetic defects in how myelin produces or metabolizes these enzymes. Each of the leukodystrophies is the result of a defect in the gene that controls one (and only one) of the enzymes. MLD is caused by a deficiency of the enzyme arylsulfatase A . MLD is one of several lipid storage diseases, which result in the toxic buildup of fatty materials (lipids) in cells in the nervous system, liver, and kidneys. There are three forms of MLD: late infantile, juvenile, and adult. In the late infantile form, which is the most common MLD, affected children have difficulty walking after the first year of life. Symptoms include muscle wasting and weakness, muscle rigidity, developmental delays, progressive loss of vision leading to blindness, convulsions, impaired swallowing, paralysis, and dementia. Children may become comatose. Most children with this form of MLD die by age 5. Children with the juvenile form of MLD (between 3-10 years of age) usually begin with impaired school performance, mental deterioration, and dementia and then develop symptoms similar to the infantile form but with slower progression. The adult form commonly begins after age 16 as a psychiatric disorder or progressive dementia. Adult-onset MLD progresses more slowly than the infantile form. Is there any treatment? There is no cure for MLD. Bone marrow transplantation may delay progression of the disease in some cases. Other treatment is symptomatic and supportive. What is the prognosis? The prognosis for MLD is poor. Most children with the infantile form die by age 5. The progression of symptoms in the juvenile and adult forms is slower and those affected may live a decade or more following diagnosis.