Kumbakonam fire
accident
( Architectural Case Study)
About the incident
• Kumbakonam school fire accident happened in a school
in Kumbakonam town in Thanjavur district in Indian state of Tamil
Nadu.
• The students of the primary section of the Krishna English Medium
School were burnt to death in their classroom.
• The incident occurred on 16th July 2014.
• The cause of incident is was the thatched roof that caught fire.
• The accident was the one of the four major fire accidents and largest
school accident in Tamil Nadu, and second in terms of casualties for
fire incidents in schools in India.
• In the memory of the children every year 16th July, the event called
Motcha Deepam takes place in the evening in Kumbakonam.
• Memorial hall and Children’s park was set on the banks of Cauvery
in Palakkairai in the memory of the children those who were dead in
the fire accident.
Location
• The schools were located at Kasiraman Street,
Kumbakonam.
• There were three schools run in the complex. The names
of the schools were
(1) Sri Krishna Aided Primary School,
(2) Saraswathy Nursery and Primary School and
(3)Sri Krishna Girls High School.
• The main building faces east. It is a street building
without any compound wall.
• On the north and the south there are residential
buildings.
• Kasiraman Street is 27 feet wide and has a tar road.
The school building
• There were three schools namely, Sri Krishna Aided
Primary School, Saraswathy Nursery and Primary School
and Sri Krishna Girls High School, operating in the same
building in Kasiraman street in Kumbakonam in the South
Indian state of Tamil Nadu.
• The major reason for the heavy casualty is the false
tactics of the management to bring the other two
school students to the aided primary school to mislead
the inspecting authorities about the student-teacher
ratio.
• The school was located amidst residential buildings, 15 m
(49 ft) away from a road.
Ground floor plan
1st floor plan
2nd floor plan
3rd floor plan
• The school had a small gate 4 ft (1.2 m), immediately beyond which
the classrooms were located.
• The classrooms did not have any partition and at the end of the
classrooms, there was a stage.
• On the northwest side of the stage was the noon meal kitchen and
a cycle stand, both of which were thatched structures.
• The buildings in the nursery and primary schools had no
ventilation.
• Near the eastern entrance, there was a narrow staircase 4.5 ft
(1.4 m) leading to the first floor of the building.
• The lower end of the class on the western side was connected to
the noon meal kitchen thatched roof and the cycle stand roof,
where the accident occurred.
• The Sri Krishna Girls High School had 179, Sri Krishna Aided Primary
School had 477 and Saraswathy Nursery and Primary School had
126 student in its roles, totalling to a strength of 782 students.
The building
The Tragedy
• The fire sparked from the midday meal kitchen thatch and
spread to the upper level, which also had thatched roofs and
spread rapidly.
• The narrow staircase had sundry material, that prevented exit
of children. The staircase was also close to the kitchen.
• The kitchen did not have gas stoves and fire logs were used
for cooking.
• The school was overcrowded, having 900 children in its roles.
• The fire service was informed at 11 a.m. and the personnel
arrived in a few minutes. But since they were unprepared for
such large scale fire, the rescue services were not that
effective.
• As already noted, the noon meal kitchen was of thatch as also
three classes in the ground floor close to the kitchen – the
northern segment of the first floor also had only thatched
structure.
• All the thatched structures were contiguous and rested on
one another.
• In a matter of minutes, the fire which was fanned by strong
winds rose to the first floor thatch and totally destroyed
the structure
• The thatch and the bamboo poles supporting it caught fire
and fell on the children.
• It effectively blocked the only way out, namely, the passage
through the collapsible gate and cut off the means of escape.
The locals rushed to help.
The location of
thatched
classroom, above
the window.
The casualties
• 94 Children below age of 10 years old were dead in the
accident.
• And 18 children were injured in stampede.
• The main reason for such a heavy casualty was the packing of
the aided primary school with children from the other
two schools to mislead the inspecting authorities into
believing that the teacher-student ratio was correct and the
attendance for the noon meal centre was true.
• There were over 800 students studying in the three schools;
there was only one entry point, which was also narrow.
• Some teachers did not make any attempt to rescue the
children, but escaped from the scene.
Faces of children burnt
• As there was only one exit gate, it was not possible to save
more children.
• If only there had been another exit it might have been a
different story and in any event the casualty would have been
much less.
The only
Entrance/exit
gate (4 ft. wide)
The cause
• To have a fire three things are needed: (a) air (b) fuel
and(c) a source of ignition.
• Fire was sparked by dry coconut leaves used as firewood
in a thatched shed used as a noon meal kitchen.
• Thanks to strong winds, spoken to by Anuradha, the
kitchen fire rose so high that the thatched roof of the
first floor class rooms caught fire and as already noted
the blazing roof supported by bamboo poles gave way
and collapsed on the children.
• Though the school did not satisfy the norms required
for upgradation, still for some extraneous reasons it was
permitted to be upgraded first as middle school and then
as high school.
• There was total lack of implementation and enforcement
of existing laws and safety standards for schools.
• It was not an accident of fate, but an accident on account of
utter disregard of rules for safety. It was an accident waiting
to happen.
• The school did not have enough doors and windows to help
the children to run out.
• Open terrace was converted into class rooms by erecting a
thatched roof.
Infrastructure
• In the schools the infrastructure was poor.
• The staircases and passages were narrow.
• Ventilation – air and light were practically non-existent admit
of no doubt.
• No fire fighting facilities and services were provided.
Narrow
corridors/passages.
Rescue operation
• The fir service were at the site within minutes. Even at
that time the fire was blazing.
• They put out the fire and also joined others in the rescue
operation.
• They and the general public broke the cement jolly of the
building and made a valiant attempt to rescue the
children huddled there.
• Unfortunately, they were unprepared for the size of the
task and sadly many of the children who were caught
under the fire had died.
Children evacuated thrugh this window
S No. Thus in sum, the reasons for the accident and for such a high casualty are:
1. Prohibited thatched structure for kitchen close to the class
rooms;
2. Classrooms themselves of thatch and interconnected at the roof
level to the kitchen thatch and the adjacent cycle shed thatch;
3. Heaping of old thatch close to the kitchen – poor housekeeping
and use of the old thatch as fuel;
4. The person who lighted the oven left the scene after closing the
kitchen door;
5. Inadequate exit facilities – the only exit through the collapsible
gate was blocked due to lighted bamboo and thatch falling there;
6. No fire fighting equipment;No water
7. Teachers not trained in disaster management;
8. Children unconnected with the aided school being stacked like
sardines with the ulterior purpose of boosting the attendance;
9. Smoke engulfing the area otherwise poorly ventilated and dark.
10. Authorities not enforcing the rules.
S No. NBC Fire fighting standards If followed(✓), else(☓)
1. Buildings intended for educational occupancy
shall not be used for any hazardous occupancy.
✓
2. Exits, in accordance with 4 shall be so arranged
that at least two separate exits are available in
every floor area. Exits shall be as remote from
each other as practicable.
☓
(Only 1 exit)
3. Storage of volatile flammable liquids shall be
prohibited and the handling of such liquids shall
be restricted to science laboratories only.
✓
4. Each building shall be provided with an approved
outside gas shut-off valve conspicuously marked.
☓
5. Every room with a capacity of over 45 persons
in area shall have at least two doorways.
☓
6. Exterior doors shall be operated by panic bars
or some other panic hardware device, except that
doors leading from classrooms directly to the
outside may be equipped with the same type of
lock as is used on classroom doors leading to
corridor.
☓
S No. Services Requirement If followed(✓),
else(☓)
1. Fire extinguisher Required ☓
2. Hose reel Required ☓
3. Wet riser Not required ✓
4. Yard hydrant Not required ✓
5. Automatic sprinkler system Required ☓
6. Manual alarm system Not required ✓
7. Water supply Required (450 L) ☓

Kumbakonam fire accident

  • 1.
  • 2.
    About the incident •Kumbakonam school fire accident happened in a school in Kumbakonam town in Thanjavur district in Indian state of Tamil Nadu. • The students of the primary section of the Krishna English Medium School were burnt to death in their classroom. • The incident occurred on 16th July 2014. • The cause of incident is was the thatched roof that caught fire. • The accident was the one of the four major fire accidents and largest school accident in Tamil Nadu, and second in terms of casualties for fire incidents in schools in India. • In the memory of the children every year 16th July, the event called Motcha Deepam takes place in the evening in Kumbakonam. • Memorial hall and Children’s park was set on the banks of Cauvery in Palakkairai in the memory of the children those who were dead in the fire accident.
  • 3.
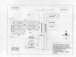
    Location • The schoolswere located at Kasiraman Street, Kumbakonam. • There were three schools run in the complex. The names of the schools were (1) Sri Krishna Aided Primary School, (2) Saraswathy Nursery and Primary School and (3)Sri Krishna Girls High School. • The main building faces east. It is a street building without any compound wall. • On the north and the south there are residential buildings. • Kasiraman Street is 27 feet wide and has a tar road.
  • 7.
    The school building •There were three schools namely, Sri Krishna Aided Primary School, Saraswathy Nursery and Primary School and Sri Krishna Girls High School, operating in the same building in Kasiraman street in Kumbakonam in the South Indian state of Tamil Nadu. • The major reason for the heavy casualty is the false tactics of the management to bring the other two school students to the aided primary school to mislead the inspecting authorities about the student-teacher ratio. • The school was located amidst residential buildings, 15 m (49 ft) away from a road.
  • 8.
  • 9.
  • 10.
  • 11.
  • 12.
    • The schoolhad a small gate 4 ft (1.2 m), immediately beyond which the classrooms were located. • The classrooms did not have any partition and at the end of the classrooms, there was a stage. • On the northwest side of the stage was the noon meal kitchen and a cycle stand, both of which were thatched structures. • The buildings in the nursery and primary schools had no ventilation. • Near the eastern entrance, there was a narrow staircase 4.5 ft (1.4 m) leading to the first floor of the building. • The lower end of the class on the western side was connected to the noon meal kitchen thatched roof and the cycle stand roof, where the accident occurred. • The Sri Krishna Girls High School had 179, Sri Krishna Aided Primary School had 477 and Saraswathy Nursery and Primary School had 126 student in its roles, totalling to a strength of 782 students.
  • 13.
  • 15.
    The Tragedy • Thefire sparked from the midday meal kitchen thatch and spread to the upper level, which also had thatched roofs and spread rapidly. • The narrow staircase had sundry material, that prevented exit of children. The staircase was also close to the kitchen. • The kitchen did not have gas stoves and fire logs were used for cooking. • The school was overcrowded, having 900 children in its roles. • The fire service was informed at 11 a.m. and the personnel arrived in a few minutes. But since they were unprepared for such large scale fire, the rescue services were not that effective.
  • 16.
    • As alreadynoted, the noon meal kitchen was of thatch as also three classes in the ground floor close to the kitchen – the northern segment of the first floor also had only thatched structure. • All the thatched structures were contiguous and rested on one another. • In a matter of minutes, the fire which was fanned by strong winds rose to the first floor thatch and totally destroyed the structure • The thatch and the bamboo poles supporting it caught fire and fell on the children. • It effectively blocked the only way out, namely, the passage through the collapsible gate and cut off the means of escape. The locals rushed to help.
  • 17.
  • 18.
    The casualties • 94Children below age of 10 years old were dead in the accident. • And 18 children were injured in stampede. • The main reason for such a heavy casualty was the packing of the aided primary school with children from the other two schools to mislead the inspecting authorities into believing that the teacher-student ratio was correct and the attendance for the noon meal centre was true. • There were over 800 students studying in the three schools; there was only one entry point, which was also narrow. • Some teachers did not make any attempt to rescue the children, but escaped from the scene.
  • 19.
  • 20.
    • As therewas only one exit gate, it was not possible to save more children. • If only there had been another exit it might have been a different story and in any event the casualty would have been much less. The only Entrance/exit gate (4 ft. wide)
  • 21.
    The cause • Tohave a fire three things are needed: (a) air (b) fuel and(c) a source of ignition. • Fire was sparked by dry coconut leaves used as firewood in a thatched shed used as a noon meal kitchen. • Thanks to strong winds, spoken to by Anuradha, the kitchen fire rose so high that the thatched roof of the first floor class rooms caught fire and as already noted the blazing roof supported by bamboo poles gave way and collapsed on the children. • Though the school did not satisfy the norms required for upgradation, still for some extraneous reasons it was permitted to be upgraded first as middle school and then as high school.
  • 22.
    • There wastotal lack of implementation and enforcement of existing laws and safety standards for schools. • It was not an accident of fate, but an accident on account of utter disregard of rules for safety. It was an accident waiting to happen. • The school did not have enough doors and windows to help the children to run out. • Open terrace was converted into class rooms by erecting a thatched roof.
  • 23.
    Infrastructure • In theschools the infrastructure was poor. • The staircases and passages were narrow. • Ventilation – air and light were practically non-existent admit of no doubt. • No fire fighting facilities and services were provided. Narrow corridors/passages.
  • 24.
    Rescue operation • Thefir service were at the site within minutes. Even at that time the fire was blazing. • They put out the fire and also joined others in the rescue operation. • They and the general public broke the cement jolly of the building and made a valiant attempt to rescue the children huddled there. • Unfortunately, they were unprepared for the size of the task and sadly many of the children who were caught under the fire had died.
  • 25.
  • 26.
    S No. Thusin sum, the reasons for the accident and for such a high casualty are: 1. Prohibited thatched structure for kitchen close to the class rooms; 2. Classrooms themselves of thatch and interconnected at the roof level to the kitchen thatch and the adjacent cycle shed thatch; 3. Heaping of old thatch close to the kitchen – poor housekeeping and use of the old thatch as fuel; 4. The person who lighted the oven left the scene after closing the kitchen door; 5. Inadequate exit facilities – the only exit through the collapsible gate was blocked due to lighted bamboo and thatch falling there; 6. No fire fighting equipment;No water 7. Teachers not trained in disaster management; 8. Children unconnected with the aided school being stacked like sardines with the ulterior purpose of boosting the attendance; 9. Smoke engulfing the area otherwise poorly ventilated and dark. 10. Authorities not enforcing the rules.
  • 27.
    S No. NBCFire fighting standards If followed(✓), else(☓) 1. Buildings intended for educational occupancy shall not be used for any hazardous occupancy. ✓ 2. Exits, in accordance with 4 shall be so arranged that at least two separate exits are available in every floor area. Exits shall be as remote from each other as practicable. ☓ (Only 1 exit) 3. Storage of volatile flammable liquids shall be prohibited and the handling of such liquids shall be restricted to science laboratories only. ✓ 4. Each building shall be provided with an approved outside gas shut-off valve conspicuously marked. ☓ 5. Every room with a capacity of over 45 persons in area shall have at least two doorways. ☓ 6. Exterior doors shall be operated by panic bars or some other panic hardware device, except that doors leading from classrooms directly to the outside may be equipped with the same type of lock as is used on classroom doors leading to corridor. ☓
  • 28.
    S No. ServicesRequirement If followed(✓), else(☓) 1. Fire extinguisher Required ☓ 2. Hose reel Required ☓ 3. Wet riser Not required ✓ 4. Yard hydrant Not required ✓ 5. Automatic sprinkler system Required ☓ 6. Manual alarm system Not required ✓ 7. Water supply Required (450 L) ☓