15.0
0
BRIDG
Sub Station
Rev Description Prep ChkdAppdDate
Client
Design Consultant
Project
Stage
Title
Scale
Checked Approved Date
Drawing No. Rev
Prepared
Job No.
10001-JB-11-PRE-0401 A
Jan '15PHW.FN.C
NTS 10001
SHEET 1 OF 8
INDEX PLAN OF ASSET 11
STORM SEWER
PRELIMINARY DESIGN
DIYAR AL MUHARRAQ
PRIORITY WORKS
PRIMARY INFRASTRUCTURE
LEGEND:
PROPOSED MANHOLE shown thus
PROPOSED PIPELINE shown thus
SECTION No. & DIRECTION
shown thus
PROPOSED PIPELINE within Asset
under seperate contract shown thus
Notes
1. This Drawing is to be read in conjunction with all other relevant
documentation.
2. Do not scale from this drawing, use only printed dimensions.
3. All dimensions in millimetres, all chainages, levels and coordinates
are in metres unless defined otherwise.
4. This drawing is to be read in conjunction with the project Health and
Safety File for any identified potential risks.
5. All materials to be approved by EWA/SEPPD prior to installation.
6. Installation to be in accordance with SEPPD standards and best
practices and in accordance with the utility cross sections.
7. All works to be carried out by a SEPPD approved contractor.
8. Pipe diameters up to 450mm, shall be of uPVC.
9. Pipe diameters above 450mm, shall be of GRP material.
10. Minimum clear cover from finish grade level to the top of pipe shall
be minimum 1200mm.
No.10
A Draft Issue for Review N.C W.F W.F Jan '15
No.29
No.19
22A-OUTFALL-6
No.1
ASSET 12A
ASSET 25
ASSET 12B
ASSET 22B
ASSET 22A
ASSET 23A
ASSET 13A
ASSET 13B
No.2
No.6
No.7
No.4
No.4
No.16 No.14
No.8
No.9
ASSET 23B
No.13
No.12
No.10
No.11
No.27
No.28
No.17
No.18
No.31
No.26
No.30
No.19
No.19
No.19
No.25
No.22
No.23
No.21
No.24
No.32
No.33
No.34
No.35
No.36
ASSET 24B
ASSET 24A
ASSET 26
ASSET 15 ASSET 16C
ASSET 14B
ASSET 14A
10001-JB-11-PRE-0402
10001-JB-11-PRE-0403
10001-JB-11-PRE-0404
10001-JB-11-PRE-0406
10001-JB-11-PRE-0407
10001-JB-11-PRE-0405
10001-JB-11-PRE-0408
10001-JB-11-PRE-0409
Sub Station
Rev Description Prep ChkdAppdDate
Client
Design Consultant
Project
Stage
Title
Scale
Checked Approved Date
Drawing No. Rev
Prepared
Job No.
10001-JB-11-PRE-0402 A
Jan '15PHW.FN.C
1:2000@A1 10001
SHEET 1 OF 8
LAYOUT PLAN OF ASSET 11
STORM SEWER
PRELIMINARY DESIGN
DIYAR AL MUHARRAQ
PRIORITY WORKS
PRIMARY INFRASTRUCTURE
No.1
No.2
No.6
22A-OUTFALL-6
LEGEND:
PROPOSED MANHOLE shown thus
PROPOSED PIPELINE shown thus
SECTION No. & DIRECTION
shown thus
PROPOSED PIPELINE within Asset
under seperate contract shown thus
Notes
1. This Drawing is to be read in conjunction with all other relevant
documentation.
2. Do not scale from this drawing, use only printed dimensions.
3. All dimensions in millimetres, all chainages, levels and coordinates
are in metres unless defined otherwise.
4. This drawing is to be read in conjunction with the project Health and
Safety File for any identified potential risks.
5. All materials to be approved by EWA/SEPPD prior to installation.
6. Installation to be in accordance with SEPPD standards and best
practices and in accordance with the utility cross sections.
7. All works to be carried out by a SEPPD approved contractor.
8. Pipe diameters up to 450mm, shall be of uPVC.
9. Pipe diameters above 450mm, shall be of GRP material.
10. Minimum clear cover from finish grade level to the top of pipe shall
be minimum 1200mm.
No.10
No.5
A Draft Issue for Review N.C W.F W.F Jan '15
ASSET 22A
ASSET 22B
No.27
No.4
No.18
No.17
Rev Description Prep ChkdAppdDate
Client
Design Consultant
Project
Stage
Title
Scale
Checked Approved Date
Drawing No. Rev
Prepared
Job No.
10001-JB-11-PRE-0403 A
Jan '15PHW.FN.C
1:2000@A1 10001
SHEET 2 OF 8
LAYOUT PLAN OF ASSET 11
STORM SEWER
PRELIMINARY DESIGN
DIYAR AL MUHARRAQ
PRIORITY WORKS
PRIMARY INFRASTRUCTURE
No.16
No.14
No.9
No.7
OUTFALL NO. 4OUTFALL NO. 3 OUTFALL NO. 5
No.15
No.10
No.8
No.4
No.12
No.11
LEGEND:
PROPOSED MANHOLE shown thus
PROPOSED PIPELINE shown thus
SECTION No. & DIRECTION
shown thus
PROPOSED PIPELINE within Asset
under seperate contract shown thus
Notes
1. This Drawing is to be read in conjunction with all other relevant
documentation.
2. Do not scale from this drawing, use only printed dimensions.
3. All dimensions in millimetres, all chainages, levels and coordinates
are in metres unless defined otherwise.
4. This drawing is to be read in conjunction with the project Health and
Safety File for any identified potential risks.
5. All materials to be approved by EWA/SEPPD prior to installation.
6. Installation to be in accordance with SEPPD standards and best
practices and in accordance with the utility cross sections.
7. All works to be carried out by a SEPPD approved contractor.
8. Pipe diameters up to 450mm, shall be of uPVC.
9. Pipe diameters above 450mm, shall be of GRP material.
10. Minimum clear cover from finish grade level to the top of pipe shall
be minimum 1200mm.
No.10
A Draft Issue for Review N.C W.F W.F Jan '15
ASSET 12A
ASSET 12B
No.7
No.19
No.4
No.18
FUTURE 600mm
FROM ASSET 12A
FUTURE 800mm
FROM ASSET 12A
FUTURE 1000mm
FROM ASSET 12A
FUTURE 1000mm
FROM ASSET 12A
FUTURE 800mm
FROM ASSET 12A
IN
OUT
Rev Description Prep ChkdAppdDate
Client
Design Consultant
Project
Stage
Title
Scale
Checked Approved Date
Drawing No. Rev
Prepared
Job No.
10001-JB-11-PRE-0404 A
Jan '15PHW.FN.C
1:2000@A1 10001
SHEET 3 OF 8
LAYOUT PLAN OF ASSET 11
STORM SEWER
PRELIMINARY DESIGN
DIYAR AL MUHARRAQ
PRIORITY WORKS
PRIMARY INFRASTRUCTURE
No.9
No.13
No.12
No.11
OUTFALL NO. 4
OUTFALL NO. 6
No.10
OUTFALL NO. 5
No.14 No.15
LEGEND:
PROPOSED MANHOLE shown thus
PROPOSED PIPELINE shown thus
SECTION No. & DIRECTION
shown thus
PROPOSED PIPELINE within Asset
under seperate contract shown thus
Notes
1. This Drawing is to be read in conjunction with all other relevant
documentation.
2. Do not scale from this drawing, use only printed dimensions.
3. All dimensions in millimetres, all chainages, levels and coordinates
are in metres unless defined otherwise.
4. This drawing is to be read in conjunction with the project Health and
Safety File for any identified potential risks.
5. All materials to be approved by EWA/SEPPD prior to installation.
6. Installation to be in accordance with SEPPD standards and best
practices and in accordance with the utility cross sections.
7. All works to be carried out by a SEPPD approved contractor.
8. Pipe diameters up to 450mm, shall be of uPVC.
9. Pipe diameters above 450mm, shall be of GRP material.
10. Minimum clear cover from finish grade level to the top of pipe shall
be minimum 1200mm.
No.10
A Draft Issue for Review N.C W.F W.F Jan '15
ASSET 12A
ASSET 12B
ASSET 14A
SARAT
FUTURE 800mm
FROM ASSET 12A
FUTURE 1000mm
FROM ASSET 12A
FUTURE 300mm
FROM ASSET 12A
FUTURE 1200mm
FROM ASSET 12A
Rev Description Prep ChkdAppdDate
Client
Design Consultant
Project
Stage
Title
Scale
Checked Approved Date
Drawing No. Rev
Prepared
Job No.
10001-JB-11-PRE-0405 -
Jan '15PHW.FN.C
1:2000@A1 10001
SHEET 4 OF 8
LAYOUT PLAN OF ASSET 11
STORM SEWER
PRELIMINARY DESIGN
DIYAR AL MUHARRAQ
PRIORITY WORKS
PRIMARY INFRASTRUCTURE
No.7
No.20
No.8
No.11
No.9
No.10
No.4
LEGEND:
PROPOSED MANHOLE shown thus
PROPOSED PIPELINE shown thus
SECTION No. & DIRECTION
shown thus
PROPOSED PIPELINE within Asset
under seperate contract shown thus
Notes
1. This Drawing is to be read in conjunction with all other relevant
documentation.
2. Do not scale from this drawing, use only printed dimensions.
3. All dimensions in millimetres, all chainages, levels and coordinates
are in metres unless defined otherwise.
4. This drawing is to be read in conjunction with the project Health and
Safety File for any identified potential risks.
5. All materials to be approved by EWA/SEPPD prior to installation.
6. Installation to be in accordance with SEPPD standards and best
practices and in accordance with the utility cross sections.
7. All works to be carried out by a SEPPD approved contractor.
8. Pipe diameters up to 450mm, shall be of uPVC.
9. Pipe diameters above 450mm, shall be of GRP material.
10. Minimum clear cover from finish grade level to the top of pipe shall
be minimum 1200mm.
No.10
No.4
No.19
A Draft Issue for Review N.C W.F W.F Jan '15
ASSET 12B
ASSET 13A
ASSET 12A
No.18
FUTURE 400mm
FROM ASSET 12B
FUTURE 600mm
FROM ASSET 12B
FUTURE 300mm
FROM ASSET 12B
FUTURE 600mm
FROM ASSET 12B
FUTURE 600mm
FROM ASSET 12B
FUTURE 300mm
FROM ASSET 12B
FUTURE 800mm
FROM ASSET 12B
15.00
OF10
Rev Description Prep ChkdAppdDate
Client
Design Consultant
Project
Stage
Title
Scale
Checked Approved Date
Drawing No. Rev
Prepared
Job No.
10001-JB-11-PRE-0406 A
Jan '15PHW.FN.C
1:2000@A1 10001
SHEET 5 OF 8
LAYOUT PLAN OF ASSET 11
STORM SEWER
PRELIMINARY DESIGN
DIYAR AL MUHARRAQ
PRIORITY WORKS
PRIMARY INFRASTRUCTURE
No.28
No.31
No.29
LEGEND:
PROPOSED MANHOLE shown thus
PROPOSED PIPELINE shown thus
SECTION No. & DIRECTION
shown thus
PROPOSED PIPELINE within Asset
under seperate contract shown thus
Notes
1. This Drawing is to be read in conjunction with all other relevant
documentation.
2. Do not scale from this drawing, use only printed dimensions.
3. All dimensions in millimetres, all chainages, levels and coordinates
are in metres unless defined otherwise.
4. This drawing is to be read in conjunction with the project Health and
Safety File for any identified potential risks.
5. All materials to be approved by EWA/SEPPD prior to installation.
6. Installation to be in accordance with SEPPD standards and best
practices and in accordance with the utility cross sections.
7. All works to be carried out by a SEPPD approved contractor.
8. Pipe diameters up to 450mm, shall be of uPVC.
9. Pipe diameters above 450mm, shall be of GRP material.
10. Minimum clear cover from finish grade level to the top of pipe shall
be minimum 1200mm.
No.10
No.18
No.19
No.26
No.27
No.17
No.30
No.19
OUTFALL No. 10
A Draft Issue for Review N.C W.F W.F Jan '15
ASSET 23A
ASSET 24A
ASSET 22B
ASSET 23B
FUTURE 800mm
FROM ASSET 23A
FUTURE 800mm
FROM ASSET 22B
FUTURE 1600mm
FROM ASSET 24B
TO OUTFALL No. 13
OF09
OF10
Rev Description Prep ChkdAppdDate
Client
Design Consultant
Project
Stage
Title
Scale
Checked Approved Date
Drawing No. Rev
Prepared
Job No.
10001-JB-11-PRE-0407 A
Jan '15PHW.FN.C
1:2000@A1 10001
SHEET 6 OF 8
LAYOUT PLAN OF ASSET 11
STORM SEWER
PRELIMINARY DESIGN
DIYAR AL MUHARRAQ
PRIORITY WORKS
PRIMARY INFRASTRUCTURE
No.21
No.24
No.19
No.25
LEGEND:
PROPOSED MANHOLE shown thus
PROPOSED PIPELINE shown thus
SECTION No. & DIRECTION
shown thus
PROPOSED PIPELINE within Asset
under seperate contract shown thus
Notes
1. This Drawing is to be read in conjunction with all other relevant
documentation.
2. Do not scale from this drawing, use only printed dimensions.
3. All dimensions in millimetres, all chainages, levels and coordinates
are in metres unless defined otherwise.
4. This drawing is to be read in conjunction with the project Health and
Safety File for any identified potential risks.
5. All materials to be approved by EWA/SEPPD prior to installation.
6. Installation to be in accordance with SEPPD standards and best
practices and in accordance with the utility cross sections.
7. All works to be carried out by a SEPPD approved contractor.
8. Pipe diameters up to 450mm, shall be of uPVC.
9. Pipe diameters above 450mm, shall be of GRP material.
10. Minimum clear cover from finish grade level to the top of pipe shall
be minimum 1200mm.
No.10
No.22
No.23
No.11
No.26
No.19
A Draft Issue for Review N.C W.F W.F Jan '15
ASSET 13A ASSET 14A
ASSET 13B
ASSET 23A
ASSET 23B
FUTURE 600mm
FROM ASSET 13A
FUTURE 800mm
FROM ASSET 13A
FUTURE 800mm
FROM ASSET 13A
BRI
Rev Description Prep ChkdAppdDate
Client
Design Consultant
Project
Stage
Title
Scale
Checked Approved Date
Drawing No. Rev
Prepared
Job No.
10001-JB-11-PRE-0408 A
Jan '15PHW.FN.C
1:2000@A1 10001
SHEET 7 OF 8
LAYOUT PLAN OF ASSET 11
STORM SEWER
PRELIMINARY DESIGN
DIYAR AL MUHARRAQ
PRIORITY WORKS
PRIMARY INFRASTRUCTURE
No.32
LEGEND:
PROPOSED MANHOLE shown thus
PROPOSED PIPELINE shown thus
SECTION No. & DIRECTION
shown thus
PROPOSED PIPELINE within Asset
under seperate contract shown thus
Notes
1. This Drawing is to be read in conjunction with all other relevant
documentation.
2. Do not scale from this drawing, use only printed dimensions.
3. All dimensions in millimetres, all chainages, levels and coordinates
are in metres unless defined otherwise.
4. This drawing is to be read in conjunction with the project Health and
Safety File for any identified potential risks.
5. All materials to be approved by EWA/SEPPD prior to installation.
6. Installation to be in accordance with SEPPD standards and best
practices and in accordance with the utility cross sections.
7. All works to be carried out by a SEPPD approved contractor.
8. Pipe diameters up to 450mm, shall be of uPVC.
9. Pipe diameters above 450mm, shall be of GRP material.
10. Minimum clear cover from finish grade level to the top of pipe shall
be minimum 1200mm.
No.10
OUTFALL No. 11
OUTFALL No. 24
No.33
No.34
OUTFALL No. 23
OUTFALL No. 16
A Draft Issue for Review N.C W.F W.F Jan '15
ASSET 25 ASSET 15ASSET 26
ASSET 27
ASSET 23B
Rev Description Prep ChkdAppdDate
Client
Design Consultant
Project
Stage
Title
Scale
Checked Approved Date
Drawing No. Rev
Prepared
Job No.
10001-JB-11-PRE-0409 A
Jan '15PHW.FN.C
1:2000@A1 10001
SHEET 8 OF 8
LAYOUT PLAN OF ASSET 11
STORM SEWER
PRELIMINARY DESIGN
DIYAR AL MUHARRAQ
PRIORITY WORKS
PRIMARY INFRASTRUCTURE
No.36
No.35
OUTFALL NO. 19
No.33
No.18
LEGEND:
PROPOSED MANHOLE shown thus
PROPOSED PIPELINE shown thus
SECTION No. & DIRECTION
shown thus
PROPOSED PIPELINE within Asset
under seperate contract shown thus
Notes
1. This Drawing is to be read in conjunction with all other relevant
documentation.
2. Do not scale from this drawing, use only printed dimensions.
3. All dimensions in millimetres, all chainages, levels and coordinates
are in metres unless defined otherwise.
4. This drawing is to be read in conjunction with the project Health and
Safety File for any identified potential risks.
5. All materials to be approved by EWA/SEPPD prior to installation.
6. Installation to be in accordance with SEPPD standards and best
practices and in accordance with the utility cross sections.
7. All works to be carried out by a SEPPD approved contractor.
8. Pipe diameters up to 450mm, shall be of uPVC.
9. Pipe diameters above 450mm, shall be of GRP material.
10. Minimum clear cover from finish grade level to the top of pipe shall
be minimum 1200mm.
No.10
OUTFALL NO. 23
OUTFALL NO.8
A Draft Issue for Review N.C W.F W.F Jan '15
PIPELINE PART OP ASSET 16A
ASSET 15 ASSET 16A
ASSET 16B
ASSET 13B
FUTURE PIPELINE
FROM ASSET 16A
Client
Design Consultant
Project
Stage
Title
Scale
Checked Approved Date
Drawing No. Rev
Prepared
Job No.
10001-JB-11-PRE-0410 A
Jan '15PHW.FN.C
As Shown@A1 10001
SHEET 1 OF 6
SECTIONS
STORM SEWER ASSET 11
PRELIMINARY DESIGN
DIYAR AL MUHARRAQ
PRIORITY WORKS
PRIMARY INFRASTRUCTURE
Rev Description Prep ChkdAppdDate
SCALE = 1:2000 HORIZONTAL
1:200 VERTICAL
LEGEND:
PROPOSED MANHOLE shown thus
PROPOSED PIPELINE shown thus
PROPOSED GROUND LEVEL shown thus
EXISTING GROUND LEVEL Shown thus
22A-S-No.
Notes
1. This Drawing is to be read in conjunction with all other relevant
documentation.
2. Do not scale from this drawing, use only printed dimensions.
3. All dimensions in millimetres, all chainages, levels and coordinates
are in metres unless defined otherwise.
4. This drawing is to be read in conjunction with the project Health and
Safety File for any identified potential risks.
5. Pipe diameters up to 450mm, shall be of uPVC.
6. Pipe diameters above 450mm, shall be of GRP material.
7. Minimum clear cover from finish grade level to the top of pipe shall
be minimum 1200mm.
A Draft Issue for Review N.C W.F W.F Jan '15
Client
Design Consultant
Project
Stage
Title
Scale
Checked Approved Date
Drawing No. Rev
Prepared
Job No.
10001-JB-11-PRE-0411 A
Jan '15PHW.FN.C
As Shown@A1 10001
SHEET 2 OF 6
SECTIONS
STORM SEWER ASSET 11
PRELIMINARY DESIGN
DIYAR AL MUHARRAQ
PRIORITY WORKS
PRIMARY INFRASTRUCTURE
Rev Description Prep ChkdAppdDate
SCALE = 1:2000 HORIZONTAL
1:200 VERTICAL
LEGEND:
PROPOSED MANHOLE shown thus
PROPOSED PIPELINE shown thus
PROPOSED GROUND LEVEL shown thus
EXISTING GROUND LEVEL Shown thus
22A-S-No.
Notes
1. This Drawing is to be read in conjunction with all other relevant
documentation.
2. Do not scale from this drawing, use only printed dimensions.
3. All dimensions in millimetres, all chainages, levels and coordinates
are in metres unless defined otherwise.
4. This drawing is to be read in conjunction with the project Health and
Safety File for any identified potential risks.
5. Pipe diameters up to 450mm, shall be of uPVC.
6. Pipe diameters above 450mm, shall be of GRP material.
7. Minimum clear cover from finish grade level to the top of pipe shall
be minimum 1200mm.
A Draft Issue for Review N.C W.F W.F Jan '15
Client
Design Consultant
Project
Stage
Title
Scale
Checked Approved Date
Drawing No. Rev
Prepared
Job No.
10001-JB-11-PRE-0412 A
Jan '15PHW.FN.C
As Shown@A1 10001
SHEET 3 OF 6
SECTIONS
STORM SEWER ASSET 11
PRELIMINARY DESIGN
DIYAR AL MUHARRAQ
PRIORITY WORKS
PRIMARY INFRASTRUCTURE
Rev Description Prep ChkdAppdDate
SCALE = 1:2000 HORIZONTAL
1:200 VERTICAL
LEGEND:
PROPOSED MANHOLE shown thus
PROPOSED PIPELINE shown thus
PROPOSED GROUND LEVEL shown thus
EXISTING GROUND LEVEL Shown thus
22A-S-No.
Notes
1. This Drawing is to be read in conjunction with all other relevant
documentation.
2. Do not scale from this drawing, use only printed dimensions.
3. All dimensions in millimetres, all chainages, levels and coordinates
are in metres unless defined otherwise.
4. This drawing is to be read in conjunction with the project Health and
Safety File for any identified potential risks.
5. Pipe diameters up to 450mm, shall be of uPVC.
6. Pipe diameters above 450mm, shall be of GRP material.
7. Minimum clear cover from finish grade level to the top of pipe shall
be minimum 1200mm.
A Draft Issue for Review N.C W.F W.F Jan '15
Client
Design Consultant
Project
Stage
Title
Scale
Checked Approved Date
Drawing No. Rev
Prepared
Job No.
10001-JB-11-PRE-0413 A
Jan '15PHW.FN.C
As Shown@A1 10001
SHEET 4 OF 6
SECTIONS
STORM SEWER ASSET 11
PRELIMINARY DESIGN
DIYAR AL MUHARRAQ
PRIORITY WORKS
PRIMARY INFRASTRUCTURE
Rev Description Prep ChkdAppdDate
SCALE = 1:2000 HORIZONTAL
1:200 VERTICAL
LEGEND:
PROPOSED MANHOLE shown thus
PROPOSED PIPELINE shown thus
PROPOSED GROUND LEVEL shown thus
EXISTING GROUND LEVEL Shown thus
22A-S-No.
Notes
1. This Drawing is to be read in conjunction with all other relevant
documentation.
2. Do not scale from this drawing, use only printed dimensions.
3. All dimensions in millimetres, all chainages, levels and coordinates
are in metres unless defined otherwise.
4. This drawing is to be read in conjunction with the project Health and
Safety File for any identified potential risks.
5. Pipe diameters up to 450mm, shall be of uPVC.
6. Pipe diameters above 450mm, shall be of GRP material.
7. Minimum clear cover from finish grade level to the top of pipe shall
be minimum 1200mm.
A Draft Issue for Review N.C W.F W.F Jan '15
Client
Design Consultant
Project
Stage
Title
Scale
Checked Approved Date
Drawing No. Rev
Prepared
Job No.
10001-JB-11-PRE-0414 A
Jan '15PHW.FN.C
As Shown@A1 10001
SHEET 5 OF 6
SECTIONS
STORM SEWER ASSET 11
PRELIMINARY DESIGN
DIYAR AL MUHARRAQ
PRIORITY WORKS
PRIMARY INFRASTRUCTURE
Rev Description Prep ChkdAppdDate
SCALE = 1:2000 HORIZONTAL
1:200 VERTICAL
LEGEND:
PROPOSED MANHOLE shown thus
PROPOSED PIPELINE shown thus
PROPOSED GROUND LEVEL shown thus
EXISTING GROUND LEVEL Shown thus
22A-S-No.
Notes
1. This Drawing is to be read in conjunction with all other relevant
documentation.
2. Do not scale from this drawing, use only printed dimensions.
3. All dimensions in millimetres, all chainages, levels and coordinates
are in metres unless defined otherwise.
4. This drawing is to be read in conjunction with the project Health and
Safety File for any identified potential risks.
5. Pipe diameters up to 450mm, shall be of uPVC.
6. Pipe diameters above 450mm, shall be of GRP material.
7. Minimum clear cover from finish grade level to the top of pipe shall
be minimum 1200mm.
A Draft Issue for Review N.C W.F W.F Jan '15
Client
Design Consultant
Project
Stage
Title
Scale
Checked Approved Date
Drawing No. Rev
Prepared
Job No.
10001-JB-11-PRE-0415 A
Jan '15PHW.FN.C
As Shown@A1 10001
SHEET 6 OF 6
SECTIONS
STORM SEWER ASSET 11
PRELIMINARY DESIGN
DIYAR AL MUHARRAQ
PRIORITY WORKS
PRIMARY INFRASTRUCTURE
Rev Description Prep ChkdAppdDate
SCALE = 1:2000 HORIZONTAL
1:200 VERTICAL
LEGEND:
PROPOSED MANHOLE shown thus
PROPOSED PIPELINE shown thus
PROPOSED GROUND LEVEL shown thus
EXISTING GROUND LEVEL Shown thus
22A-S-No.
Notes
1. This Drawing is to be read in conjunction with all other relevant
documentation.
2. Do not scale from this drawing, use only printed dimensions.
3. All dimensions in millimetres, all chainages, levels and coordinates
are in metres unless defined otherwise.
4. This drawing is to be read in conjunction with the project Health and
Safety File for any identified potential risks.
5. Pipe diameters up to 450mm, shall be of uPVC.
6. Pipe diameters above 450mm, shall be of GRP material.
7. Minimum clear cover from finish grade level to the top of pipe shall
be minimum 1200mm.
A Draft Issue for Review N.C W.F W.F Jan '15
150 500 150
150
150
150
150850100150
150
HEAVY DUTY GRADE A END HINGED GRATING
AND FRAME TO BS497, DUCTILE OR CAST IRON,
CLEAR OPENING 385x317. BACKED WITH C45/20
CONCRETE.
CONCRETE SURROUND FLEXIBLY JOINTED.
WITH 390x320 CLEAR OPENING ACCESS HOLE.
150 CONCRETE SURROUND (C45/20) TO POLYPROPYLENE
GULLY, OR PRECAST CONCRETE GULLY.
150 CONCRETE SURROUND (C45/20) TO PRECAST
CONCRETE GULLY.
Rev Description Prep ChkdAppdDate
Client
Design Consultant
Project
Stage
Title
Scale
Checked Approved Date
Drawing No. Rev
Prepared
Job No.
Notes
1. This Drawing is to be read in conjunction with all other relevant
documentation.
2. Do not scale from this drawing, use only printed dimensions.
3. All dimensions in millimetres, all chainages, levels and coordinates
are in metres unless defined otherwise.
4. This drawing is to be read in conjunction with the project Health and
Safety File for any identified potential risks.
5. Pipe diameters up to 450mm, shall be of uPVC.
6. Pipe diameters above 450mm, shall be of GRP material.
7. Minimum clear cover from finish grade level to the top of pipe shall
be minimum 1200mm.
A Draft Issue for Review N.C W.F W.F DEC '14
10001-JB-22A-PRE-0416 A
DEC '14PHW.FN.C
1:2000@A1 10001
OF ASSET 11
REPORT & GULLY DETAILS
STORM SEWER MANHOLE
PRELIMINARY DESIGN
DIYAR AL MUHARRAQ
PRIORITY WORKS
PRIMARY INFRASTRUCTURE
1:30 CROSSFALL
2001000200 250250
50
POSITION OF
ACCESS HOLE
HALF ROUND CHANNEL
1000 G POLYTHENE SHEET
250 1400 250
3000Max.300
MASTIC SEALANT 50x25mm THICK
WITH BOND BREAKER
MEMBRANE TOUNDRESIDE ONLY
RTR LINER IN ACCORDANCE WITH
SECTION 'F' OF THE SPECIFICATION
200
REINFORCEMENT BAR
MEDIUM OR HEAVY DUTY CAST IRON
COVER AND FRAME WITH RTR SEALING PLATE
ROAD LEVEL (PAVED AREAS)
COVER LEVEL -5
ROAD LEVEL (UNPAVED AREAS)
COVER LEVEL -50
GROUND LEVEL (OPEN AREAS)
COVER LEVEL -150
CONCRETE HAUNCH
GRADE C 45/20
PRECAST COVER SUPPORT PAINTED
INTERNALLY WITH EPOXY MORTAR
800
10mm THICK
EPOXY MORTAR
250mm THICK
CONCRETE WALL (C45/20)
CONCRETE BLINDING 50mm THICK
PAINT PROTECTION IN
ACCORDANCE WITH SECTION G
OF THE SPECIFICATION (TABLE G1)
BENCHING TO BE C45/20
CONCRETE FINISHED WITH
10mm THICK EPOXY MORTAR
3-3 T16-180 B
5 T16 145 B
5 T16 145 B
5 T16-145 B
1+4 T16-145 B
4 T16 TRIMMER BARS
310800790
550
1900
550 800
STORM
WATER
STO
R
M
W
ATER
STO
R
M
W
ATER
STO
R
M
W
ATER
STO
R
M
W
ATER
10 THICK EPOXY MORTAR
200 THICK CONCRETE WALL
(C45/20)
HALF ROUND CHANNEL
1000 G POLYTHENE SHEET
CONCRETE BLINDING 50 THICK
PAINT PROTECTION IN
ACCORDANCE WITH SECTION
G OF THE SPECIFICATION (TABLE G1)
200 800 200
2000Max.250
50
MEDIUM OR HEAVY DUTY CAST IRON
COVER AND FRAME WITH RTR SEALING PLATE
ROAD LEVEL (PAVED AREAS)
COVER LEVEL -5
ROAD LEVEL (UNPAVED AREAS)
COVER LEVEL -50
GROUND LEVEL (OPEN AREAS)
COVER LEVEL -150
CONCRETE HAUNCH
GRADE C 45/20
PRECAST COVER SUPPORT PAINTED
INTERNALLY WITH EPOXY MORTAR
1:30 CROSSFALL
1200
50 50
1:30 CROSSFALL
1001000100 250250
50
POSITION OF
ACCESS HOLE
3-3 T20-100 B
4 T20-200 B
4 T20-200 B
4 T20-200 B
1+5 T20-100 B
4 T20 TRIMMER BARS
300800600
450 450
1700
10mm THICK
EPOXY MORTAR
250mm THICK
CONCRETE WALL (C45/20)
HALF ROUND CHANNEL
1000 G POLYTHENE SHEET
CONCRETE BLINDING 50mm THICK
PAINT PROTECTION IN
ACCORDANCE WITH SECTION G
OF THE SPECIFICATION (TABLE G1)
250 1200 250
3000Max.300
BENCHING TO BE C45/20
CONCRETE FINISHED WITH
10mm THICK EPOXY MORTAR
MASTIC SEALANT 50x25 THICK WITH
BOND BREAKER MEMBRANE TO
UNDRESIDE ONLY
RTR LINER IN ACCORDANCE WITH
SECTION 'F' OF THE SPECIFICATION
200
REINFORCEMENT BAR
MEDIUM OR HEAVY DUTY CAST IRON
COVER AND FRAME WITH RTR SEALING PLATE
ROAD LEVEL (PAVED AREAS)
COVER LEVEL -5
ROAD LEVEL (UNPAVED AREAS)
COVER LEVEL -50
GROUND LEVEL (OPEN AREAS)
COVER LEVEL -150
CONCRETE HAUNCH
GRADE C 45/20
PRECAST COVER SUPPORT
PAINTED INTERNALLY WITH
EPOXY MORTAR
800
CHAMBER TYPE - D
(SCALE 1:20)
(SCALE 1:20)
CHAMBER TYPE - G(SCALE-1:20)
(SCALE 1:10)
(SCALE 1:10)
(SCALE 1:10)
(SCALE 1:20)
(SCALE 1:20)
(SCALE 1:20)
(SCALE-1:20)
CHAMBER TYPE - F
(SCALE 1:20)
Rev Description Prep ChkdAppdDate
Client
Design Consultant
Project
Stage
Title
Scale
Checked Approved Date
Drawing No. Rev
Prepared
Job No.
10001-JB-11-PRE-0417 A
DEC '14PHW.FN.C
1:20@A1 10001
& COVER TYPES OF ASSET 11
CHAMBER DETAILS TYPE D,F & G
STORM SEWER MANHOLE
PRELIMINARY DESIGN
DIYAR AL MUHARRAQ
PRIORITY WORKS
PRIMARY INFRASTRUCTURE
Notes
1. This Drawing is to be read in conjunction with all other relevant
documentation.
2. Do not scale from this drawing, use only printed dimensions.
3. All dimensions in millimetres, all chainages, levels and coordinates
are in metres unless defined otherwise.
4. This drawing is to be read in conjunction with the project Health and
Safety File for any identified potential risks.
5. Pipe diameters up to 450mm, shall be of uPVC.
6. Pipe diameters above 450mm, shall be of GRP material.
7. Minimum clear cover from finish grade level to the top of pipe shall
be minimum 1200mm.
A Draft Issue for Review N.C W.F W.F DEC '14

ASSET 11 STORM NETWORK DEC '14 ASSETS ON

  • 1.
    15.0 0 BRIDG Sub Station Rev DescriptionPrep ChkdAppdDate Client Design Consultant Project Stage Title Scale Checked Approved Date Drawing No. Rev Prepared Job No. 10001-JB-11-PRE-0401 A Jan '15PHW.FN.C NTS 10001 SHEET 1 OF 8 INDEX PLAN OF ASSET 11 STORM SEWER PRELIMINARY DESIGN DIYAR AL MUHARRAQ PRIORITY WORKS PRIMARY INFRASTRUCTURE LEGEND: PROPOSED MANHOLE shown thus PROPOSED PIPELINE shown thus SECTION No. & DIRECTION shown thus PROPOSED PIPELINE within Asset under seperate contract shown thus Notes 1. This Drawing is to be read in conjunction with all other relevant documentation. 2. Do not scale from this drawing, use only printed dimensions. 3. All dimensions in millimetres, all chainages, levels and coordinates are in metres unless defined otherwise. 4. This drawing is to be read in conjunction with the project Health and Safety File for any identified potential risks. 5. All materials to be approved by EWA/SEPPD prior to installation. 6. Installation to be in accordance with SEPPD standards and best practices and in accordance with the utility cross sections. 7. All works to be carried out by a SEPPD approved contractor. 8. Pipe diameters up to 450mm, shall be of uPVC. 9. Pipe diameters above 450mm, shall be of GRP material. 10. Minimum clear cover from finish grade level to the top of pipe shall be minimum 1200mm. No.10 A Draft Issue for Review N.C W.F W.F Jan '15 No.29 No.19 22A-OUTFALL-6 No.1 ASSET 12A ASSET 25 ASSET 12B ASSET 22B ASSET 22A ASSET 23A ASSET 13A ASSET 13B No.2 No.6 No.7 No.4 No.4 No.16 No.14 No.8 No.9 ASSET 23B No.13 No.12 No.10 No.11 No.27 No.28 No.17 No.18 No.31 No.26 No.30 No.19 No.19 No.19 No.25 No.22 No.23 No.21 No.24 No.32 No.33 No.34 No.35 No.36 ASSET 24B ASSET 24A ASSET 26 ASSET 15 ASSET 16C ASSET 14B ASSET 14A 10001-JB-11-PRE-0402 10001-JB-11-PRE-0403 10001-JB-11-PRE-0404 10001-JB-11-PRE-0406 10001-JB-11-PRE-0407 10001-JB-11-PRE-0405 10001-JB-11-PRE-0408 10001-JB-11-PRE-0409
  • 2.
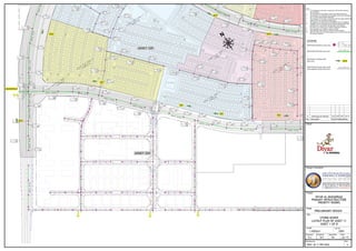
    Sub Station Rev DescriptionPrep ChkdAppdDate Client Design Consultant Project Stage Title Scale Checked Approved Date Drawing No. Rev Prepared Job No. 10001-JB-11-PRE-0402 A Jan '15PHW.FN.C 1:2000@A1 10001 SHEET 1 OF 8 LAYOUT PLAN OF ASSET 11 STORM SEWER PRELIMINARY DESIGN DIYAR AL MUHARRAQ PRIORITY WORKS PRIMARY INFRASTRUCTURE No.1 No.2 No.6 22A-OUTFALL-6 LEGEND: PROPOSED MANHOLE shown thus PROPOSED PIPELINE shown thus SECTION No. & DIRECTION shown thus PROPOSED PIPELINE within Asset under seperate contract shown thus Notes 1. This Drawing is to be read in conjunction with all other relevant documentation. 2. Do not scale from this drawing, use only printed dimensions. 3. All dimensions in millimetres, all chainages, levels and coordinates are in metres unless defined otherwise. 4. This drawing is to be read in conjunction with the project Health and Safety File for any identified potential risks. 5. All materials to be approved by EWA/SEPPD prior to installation. 6. Installation to be in accordance with SEPPD standards and best practices and in accordance with the utility cross sections. 7. All works to be carried out by a SEPPD approved contractor. 8. Pipe diameters up to 450mm, shall be of uPVC. 9. Pipe diameters above 450mm, shall be of GRP material. 10. Minimum clear cover from finish grade level to the top of pipe shall be minimum 1200mm. No.10 No.5 A Draft Issue for Review N.C W.F W.F Jan '15 ASSET 22A ASSET 22B No.27 No.4 No.18 No.17
  • 3.
    Rev Description PrepChkdAppdDate Client Design Consultant Project Stage Title Scale Checked Approved Date Drawing No. Rev Prepared Job No. 10001-JB-11-PRE-0403 A Jan '15PHW.FN.C 1:2000@A1 10001 SHEET 2 OF 8 LAYOUT PLAN OF ASSET 11 STORM SEWER PRELIMINARY DESIGN DIYAR AL MUHARRAQ PRIORITY WORKS PRIMARY INFRASTRUCTURE No.16 No.14 No.9 No.7 OUTFALL NO. 4OUTFALL NO. 3 OUTFALL NO. 5 No.15 No.10 No.8 No.4 No.12 No.11 LEGEND: PROPOSED MANHOLE shown thus PROPOSED PIPELINE shown thus SECTION No. & DIRECTION shown thus PROPOSED PIPELINE within Asset under seperate contract shown thus Notes 1. This Drawing is to be read in conjunction with all other relevant documentation. 2. Do not scale from this drawing, use only printed dimensions. 3. All dimensions in millimetres, all chainages, levels and coordinates are in metres unless defined otherwise. 4. This drawing is to be read in conjunction with the project Health and Safety File for any identified potential risks. 5. All materials to be approved by EWA/SEPPD prior to installation. 6. Installation to be in accordance with SEPPD standards and best practices and in accordance with the utility cross sections. 7. All works to be carried out by a SEPPD approved contractor. 8. Pipe diameters up to 450mm, shall be of uPVC. 9. Pipe diameters above 450mm, shall be of GRP material. 10. Minimum clear cover from finish grade level to the top of pipe shall be minimum 1200mm. No.10 A Draft Issue for Review N.C W.F W.F Jan '15 ASSET 12A ASSET 12B No.7 No.19 No.4 No.18 FUTURE 600mm FROM ASSET 12A FUTURE 800mm FROM ASSET 12A FUTURE 1000mm FROM ASSET 12A FUTURE 1000mm FROM ASSET 12A FUTURE 800mm FROM ASSET 12A
  • 4.
    IN OUT Rev Description PrepChkdAppdDate Client Design Consultant Project Stage Title Scale Checked Approved Date Drawing No. Rev Prepared Job No. 10001-JB-11-PRE-0404 A Jan '15PHW.FN.C 1:2000@A1 10001 SHEET 3 OF 8 LAYOUT PLAN OF ASSET 11 STORM SEWER PRELIMINARY DESIGN DIYAR AL MUHARRAQ PRIORITY WORKS PRIMARY INFRASTRUCTURE No.9 No.13 No.12 No.11 OUTFALL NO. 4 OUTFALL NO. 6 No.10 OUTFALL NO. 5 No.14 No.15 LEGEND: PROPOSED MANHOLE shown thus PROPOSED PIPELINE shown thus SECTION No. & DIRECTION shown thus PROPOSED PIPELINE within Asset under seperate contract shown thus Notes 1. This Drawing is to be read in conjunction with all other relevant documentation. 2. Do not scale from this drawing, use only printed dimensions. 3. All dimensions in millimetres, all chainages, levels and coordinates are in metres unless defined otherwise. 4. This drawing is to be read in conjunction with the project Health and Safety File for any identified potential risks. 5. All materials to be approved by EWA/SEPPD prior to installation. 6. Installation to be in accordance with SEPPD standards and best practices and in accordance with the utility cross sections. 7. All works to be carried out by a SEPPD approved contractor. 8. Pipe diameters up to 450mm, shall be of uPVC. 9. Pipe diameters above 450mm, shall be of GRP material. 10. Minimum clear cover from finish grade level to the top of pipe shall be minimum 1200mm. No.10 A Draft Issue for Review N.C W.F W.F Jan '15 ASSET 12A ASSET 12B ASSET 14A SARAT FUTURE 800mm FROM ASSET 12A FUTURE 1000mm FROM ASSET 12A FUTURE 300mm FROM ASSET 12A FUTURE 1200mm FROM ASSET 12A
  • 5.
    Rev Description PrepChkdAppdDate Client Design Consultant Project Stage Title Scale Checked Approved Date Drawing No. Rev Prepared Job No. 10001-JB-11-PRE-0405 - Jan '15PHW.FN.C 1:2000@A1 10001 SHEET 4 OF 8 LAYOUT PLAN OF ASSET 11 STORM SEWER PRELIMINARY DESIGN DIYAR AL MUHARRAQ PRIORITY WORKS PRIMARY INFRASTRUCTURE No.7 No.20 No.8 No.11 No.9 No.10 No.4 LEGEND: PROPOSED MANHOLE shown thus PROPOSED PIPELINE shown thus SECTION No. & DIRECTION shown thus PROPOSED PIPELINE within Asset under seperate contract shown thus Notes 1. This Drawing is to be read in conjunction with all other relevant documentation. 2. Do not scale from this drawing, use only printed dimensions. 3. All dimensions in millimetres, all chainages, levels and coordinates are in metres unless defined otherwise. 4. This drawing is to be read in conjunction with the project Health and Safety File for any identified potential risks. 5. All materials to be approved by EWA/SEPPD prior to installation. 6. Installation to be in accordance with SEPPD standards and best practices and in accordance with the utility cross sections. 7. All works to be carried out by a SEPPD approved contractor. 8. Pipe diameters up to 450mm, shall be of uPVC. 9. Pipe diameters above 450mm, shall be of GRP material. 10. Minimum clear cover from finish grade level to the top of pipe shall be minimum 1200mm. No.10 No.4 No.19 A Draft Issue for Review N.C W.F W.F Jan '15 ASSET 12B ASSET 13A ASSET 12A No.18 FUTURE 400mm FROM ASSET 12B FUTURE 600mm FROM ASSET 12B FUTURE 300mm FROM ASSET 12B FUTURE 600mm FROM ASSET 12B FUTURE 600mm FROM ASSET 12B FUTURE 300mm FROM ASSET 12B FUTURE 800mm FROM ASSET 12B
  • 6.
    15.00 OF10 Rev Description PrepChkdAppdDate Client Design Consultant Project Stage Title Scale Checked Approved Date Drawing No. Rev Prepared Job No. 10001-JB-11-PRE-0406 A Jan '15PHW.FN.C 1:2000@A1 10001 SHEET 5 OF 8 LAYOUT PLAN OF ASSET 11 STORM SEWER PRELIMINARY DESIGN DIYAR AL MUHARRAQ PRIORITY WORKS PRIMARY INFRASTRUCTURE No.28 No.31 No.29 LEGEND: PROPOSED MANHOLE shown thus PROPOSED PIPELINE shown thus SECTION No. & DIRECTION shown thus PROPOSED PIPELINE within Asset under seperate contract shown thus Notes 1. This Drawing is to be read in conjunction with all other relevant documentation. 2. Do not scale from this drawing, use only printed dimensions. 3. All dimensions in millimetres, all chainages, levels and coordinates are in metres unless defined otherwise. 4. This drawing is to be read in conjunction with the project Health and Safety File for any identified potential risks. 5. All materials to be approved by EWA/SEPPD prior to installation. 6. Installation to be in accordance with SEPPD standards and best practices and in accordance with the utility cross sections. 7. All works to be carried out by a SEPPD approved contractor. 8. Pipe diameters up to 450mm, shall be of uPVC. 9. Pipe diameters above 450mm, shall be of GRP material. 10. Minimum clear cover from finish grade level to the top of pipe shall be minimum 1200mm. No.10 No.18 No.19 No.26 No.27 No.17 No.30 No.19 OUTFALL No. 10 A Draft Issue for Review N.C W.F W.F Jan '15 ASSET 23A ASSET 24A ASSET 22B ASSET 23B FUTURE 800mm FROM ASSET 23A FUTURE 800mm FROM ASSET 22B FUTURE 1600mm FROM ASSET 24B TO OUTFALL No. 13
  • 7.
    OF09 OF10 Rev Description PrepChkdAppdDate Client Design Consultant Project Stage Title Scale Checked Approved Date Drawing No. Rev Prepared Job No. 10001-JB-11-PRE-0407 A Jan '15PHW.FN.C 1:2000@A1 10001 SHEET 6 OF 8 LAYOUT PLAN OF ASSET 11 STORM SEWER PRELIMINARY DESIGN DIYAR AL MUHARRAQ PRIORITY WORKS PRIMARY INFRASTRUCTURE No.21 No.24 No.19 No.25 LEGEND: PROPOSED MANHOLE shown thus PROPOSED PIPELINE shown thus SECTION No. & DIRECTION shown thus PROPOSED PIPELINE within Asset under seperate contract shown thus Notes 1. This Drawing is to be read in conjunction with all other relevant documentation. 2. Do not scale from this drawing, use only printed dimensions. 3. All dimensions in millimetres, all chainages, levels and coordinates are in metres unless defined otherwise. 4. This drawing is to be read in conjunction with the project Health and Safety File for any identified potential risks. 5. All materials to be approved by EWA/SEPPD prior to installation. 6. Installation to be in accordance with SEPPD standards and best practices and in accordance with the utility cross sections. 7. All works to be carried out by a SEPPD approved contractor. 8. Pipe diameters up to 450mm, shall be of uPVC. 9. Pipe diameters above 450mm, shall be of GRP material. 10. Minimum clear cover from finish grade level to the top of pipe shall be minimum 1200mm. No.10 No.22 No.23 No.11 No.26 No.19 A Draft Issue for Review N.C W.F W.F Jan '15 ASSET 13A ASSET 14A ASSET 13B ASSET 23A ASSET 23B FUTURE 600mm FROM ASSET 13A FUTURE 800mm FROM ASSET 13A FUTURE 800mm FROM ASSET 13A
  • 8.
    BRI Rev Description PrepChkdAppdDate Client Design Consultant Project Stage Title Scale Checked Approved Date Drawing No. Rev Prepared Job No. 10001-JB-11-PRE-0408 A Jan '15PHW.FN.C 1:2000@A1 10001 SHEET 7 OF 8 LAYOUT PLAN OF ASSET 11 STORM SEWER PRELIMINARY DESIGN DIYAR AL MUHARRAQ PRIORITY WORKS PRIMARY INFRASTRUCTURE No.32 LEGEND: PROPOSED MANHOLE shown thus PROPOSED PIPELINE shown thus SECTION No. & DIRECTION shown thus PROPOSED PIPELINE within Asset under seperate contract shown thus Notes 1. This Drawing is to be read in conjunction with all other relevant documentation. 2. Do not scale from this drawing, use only printed dimensions. 3. All dimensions in millimetres, all chainages, levels and coordinates are in metres unless defined otherwise. 4. This drawing is to be read in conjunction with the project Health and Safety File for any identified potential risks. 5. All materials to be approved by EWA/SEPPD prior to installation. 6. Installation to be in accordance with SEPPD standards and best practices and in accordance with the utility cross sections. 7. All works to be carried out by a SEPPD approved contractor. 8. Pipe diameters up to 450mm, shall be of uPVC. 9. Pipe diameters above 450mm, shall be of GRP material. 10. Minimum clear cover from finish grade level to the top of pipe shall be minimum 1200mm. No.10 OUTFALL No. 11 OUTFALL No. 24 No.33 No.34 OUTFALL No. 23 OUTFALL No. 16 A Draft Issue for Review N.C W.F W.F Jan '15 ASSET 25 ASSET 15ASSET 26 ASSET 27 ASSET 23B
  • 9.
    Rev Description PrepChkdAppdDate Client Design Consultant Project Stage Title Scale Checked Approved Date Drawing No. Rev Prepared Job No. 10001-JB-11-PRE-0409 A Jan '15PHW.FN.C 1:2000@A1 10001 SHEET 8 OF 8 LAYOUT PLAN OF ASSET 11 STORM SEWER PRELIMINARY DESIGN DIYAR AL MUHARRAQ PRIORITY WORKS PRIMARY INFRASTRUCTURE No.36 No.35 OUTFALL NO. 19 No.33 No.18 LEGEND: PROPOSED MANHOLE shown thus PROPOSED PIPELINE shown thus SECTION No. & DIRECTION shown thus PROPOSED PIPELINE within Asset under seperate contract shown thus Notes 1. This Drawing is to be read in conjunction with all other relevant documentation. 2. Do not scale from this drawing, use only printed dimensions. 3. All dimensions in millimetres, all chainages, levels and coordinates are in metres unless defined otherwise. 4. This drawing is to be read in conjunction with the project Health and Safety File for any identified potential risks. 5. All materials to be approved by EWA/SEPPD prior to installation. 6. Installation to be in accordance with SEPPD standards and best practices and in accordance with the utility cross sections. 7. All works to be carried out by a SEPPD approved contractor. 8. Pipe diameters up to 450mm, shall be of uPVC. 9. Pipe diameters above 450mm, shall be of GRP material. 10. Minimum clear cover from finish grade level to the top of pipe shall be minimum 1200mm. No.10 OUTFALL NO. 23 OUTFALL NO.8 A Draft Issue for Review N.C W.F W.F Jan '15 PIPELINE PART OP ASSET 16A ASSET 15 ASSET 16A ASSET 16B ASSET 13B FUTURE PIPELINE FROM ASSET 16A
  • 10.
    Client Design Consultant Project Stage Title Scale Checked ApprovedDate Drawing No. Rev Prepared Job No. 10001-JB-11-PRE-0410 A Jan '15PHW.FN.C As Shown@A1 10001 SHEET 1 OF 6 SECTIONS STORM SEWER ASSET 11 PRELIMINARY DESIGN DIYAR AL MUHARRAQ PRIORITY WORKS PRIMARY INFRASTRUCTURE Rev Description Prep ChkdAppdDate SCALE = 1:2000 HORIZONTAL 1:200 VERTICAL LEGEND: PROPOSED MANHOLE shown thus PROPOSED PIPELINE shown thus PROPOSED GROUND LEVEL shown thus EXISTING GROUND LEVEL Shown thus 22A-S-No. Notes 1. This Drawing is to be read in conjunction with all other relevant documentation. 2. Do not scale from this drawing, use only printed dimensions. 3. All dimensions in millimetres, all chainages, levels and coordinates are in metres unless defined otherwise. 4. This drawing is to be read in conjunction with the project Health and Safety File for any identified potential risks. 5. Pipe diameters up to 450mm, shall be of uPVC. 6. Pipe diameters above 450mm, shall be of GRP material. 7. Minimum clear cover from finish grade level to the top of pipe shall be minimum 1200mm. A Draft Issue for Review N.C W.F W.F Jan '15
  • 11.
    Client Design Consultant Project Stage Title Scale Checked ApprovedDate Drawing No. Rev Prepared Job No. 10001-JB-11-PRE-0411 A Jan '15PHW.FN.C As Shown@A1 10001 SHEET 2 OF 6 SECTIONS STORM SEWER ASSET 11 PRELIMINARY DESIGN DIYAR AL MUHARRAQ PRIORITY WORKS PRIMARY INFRASTRUCTURE Rev Description Prep ChkdAppdDate SCALE = 1:2000 HORIZONTAL 1:200 VERTICAL LEGEND: PROPOSED MANHOLE shown thus PROPOSED PIPELINE shown thus PROPOSED GROUND LEVEL shown thus EXISTING GROUND LEVEL Shown thus 22A-S-No. Notes 1. This Drawing is to be read in conjunction with all other relevant documentation. 2. Do not scale from this drawing, use only printed dimensions. 3. All dimensions in millimetres, all chainages, levels and coordinates are in metres unless defined otherwise. 4. This drawing is to be read in conjunction with the project Health and Safety File for any identified potential risks. 5. Pipe diameters up to 450mm, shall be of uPVC. 6. Pipe diameters above 450mm, shall be of GRP material. 7. Minimum clear cover from finish grade level to the top of pipe shall be minimum 1200mm. A Draft Issue for Review N.C W.F W.F Jan '15
  • 12.
    Client Design Consultant Project Stage Title Scale Checked ApprovedDate Drawing No. Rev Prepared Job No. 10001-JB-11-PRE-0412 A Jan '15PHW.FN.C As Shown@A1 10001 SHEET 3 OF 6 SECTIONS STORM SEWER ASSET 11 PRELIMINARY DESIGN DIYAR AL MUHARRAQ PRIORITY WORKS PRIMARY INFRASTRUCTURE Rev Description Prep ChkdAppdDate SCALE = 1:2000 HORIZONTAL 1:200 VERTICAL LEGEND: PROPOSED MANHOLE shown thus PROPOSED PIPELINE shown thus PROPOSED GROUND LEVEL shown thus EXISTING GROUND LEVEL Shown thus 22A-S-No. Notes 1. This Drawing is to be read in conjunction with all other relevant documentation. 2. Do not scale from this drawing, use only printed dimensions. 3. All dimensions in millimetres, all chainages, levels and coordinates are in metres unless defined otherwise. 4. This drawing is to be read in conjunction with the project Health and Safety File for any identified potential risks. 5. Pipe diameters up to 450mm, shall be of uPVC. 6. Pipe diameters above 450mm, shall be of GRP material. 7. Minimum clear cover from finish grade level to the top of pipe shall be minimum 1200mm. A Draft Issue for Review N.C W.F W.F Jan '15
  • 13.
    Client Design Consultant Project Stage Title Scale Checked ApprovedDate Drawing No. Rev Prepared Job No. 10001-JB-11-PRE-0413 A Jan '15PHW.FN.C As Shown@A1 10001 SHEET 4 OF 6 SECTIONS STORM SEWER ASSET 11 PRELIMINARY DESIGN DIYAR AL MUHARRAQ PRIORITY WORKS PRIMARY INFRASTRUCTURE Rev Description Prep ChkdAppdDate SCALE = 1:2000 HORIZONTAL 1:200 VERTICAL LEGEND: PROPOSED MANHOLE shown thus PROPOSED PIPELINE shown thus PROPOSED GROUND LEVEL shown thus EXISTING GROUND LEVEL Shown thus 22A-S-No. Notes 1. This Drawing is to be read in conjunction with all other relevant documentation. 2. Do not scale from this drawing, use only printed dimensions. 3. All dimensions in millimetres, all chainages, levels and coordinates are in metres unless defined otherwise. 4. This drawing is to be read in conjunction with the project Health and Safety File for any identified potential risks. 5. Pipe diameters up to 450mm, shall be of uPVC. 6. Pipe diameters above 450mm, shall be of GRP material. 7. Minimum clear cover from finish grade level to the top of pipe shall be minimum 1200mm. A Draft Issue for Review N.C W.F W.F Jan '15
  • 14.
    Client Design Consultant Project Stage Title Scale Checked ApprovedDate Drawing No. Rev Prepared Job No. 10001-JB-11-PRE-0414 A Jan '15PHW.FN.C As Shown@A1 10001 SHEET 5 OF 6 SECTIONS STORM SEWER ASSET 11 PRELIMINARY DESIGN DIYAR AL MUHARRAQ PRIORITY WORKS PRIMARY INFRASTRUCTURE Rev Description Prep ChkdAppdDate SCALE = 1:2000 HORIZONTAL 1:200 VERTICAL LEGEND: PROPOSED MANHOLE shown thus PROPOSED PIPELINE shown thus PROPOSED GROUND LEVEL shown thus EXISTING GROUND LEVEL Shown thus 22A-S-No. Notes 1. This Drawing is to be read in conjunction with all other relevant documentation. 2. Do not scale from this drawing, use only printed dimensions. 3. All dimensions in millimetres, all chainages, levels and coordinates are in metres unless defined otherwise. 4. This drawing is to be read in conjunction with the project Health and Safety File for any identified potential risks. 5. Pipe diameters up to 450mm, shall be of uPVC. 6. Pipe diameters above 450mm, shall be of GRP material. 7. Minimum clear cover from finish grade level to the top of pipe shall be minimum 1200mm. A Draft Issue for Review N.C W.F W.F Jan '15
  • 15.
    Client Design Consultant Project Stage Title Scale Checked ApprovedDate Drawing No. Rev Prepared Job No. 10001-JB-11-PRE-0415 A Jan '15PHW.FN.C As Shown@A1 10001 SHEET 6 OF 6 SECTIONS STORM SEWER ASSET 11 PRELIMINARY DESIGN DIYAR AL MUHARRAQ PRIORITY WORKS PRIMARY INFRASTRUCTURE Rev Description Prep ChkdAppdDate SCALE = 1:2000 HORIZONTAL 1:200 VERTICAL LEGEND: PROPOSED MANHOLE shown thus PROPOSED PIPELINE shown thus PROPOSED GROUND LEVEL shown thus EXISTING GROUND LEVEL Shown thus 22A-S-No. Notes 1. This Drawing is to be read in conjunction with all other relevant documentation. 2. Do not scale from this drawing, use only printed dimensions. 3. All dimensions in millimetres, all chainages, levels and coordinates are in metres unless defined otherwise. 4. This drawing is to be read in conjunction with the project Health and Safety File for any identified potential risks. 5. Pipe diameters up to 450mm, shall be of uPVC. 6. Pipe diameters above 450mm, shall be of GRP material. 7. Minimum clear cover from finish grade level to the top of pipe shall be minimum 1200mm. A Draft Issue for Review N.C W.F W.F Jan '15
  • 16.
    150 500 150 150 150 150 150850100150 150 HEAVYDUTY GRADE A END HINGED GRATING AND FRAME TO BS497, DUCTILE OR CAST IRON, CLEAR OPENING 385x317. BACKED WITH C45/20 CONCRETE. CONCRETE SURROUND FLEXIBLY JOINTED. WITH 390x320 CLEAR OPENING ACCESS HOLE. 150 CONCRETE SURROUND (C45/20) TO POLYPROPYLENE GULLY, OR PRECAST CONCRETE GULLY. 150 CONCRETE SURROUND (C45/20) TO PRECAST CONCRETE GULLY. Rev Description Prep ChkdAppdDate Client Design Consultant Project Stage Title Scale Checked Approved Date Drawing No. Rev Prepared Job No. Notes 1. This Drawing is to be read in conjunction with all other relevant documentation. 2. Do not scale from this drawing, use only printed dimensions. 3. All dimensions in millimetres, all chainages, levels and coordinates are in metres unless defined otherwise. 4. This drawing is to be read in conjunction with the project Health and Safety File for any identified potential risks. 5. Pipe diameters up to 450mm, shall be of uPVC. 6. Pipe diameters above 450mm, shall be of GRP material. 7. Minimum clear cover from finish grade level to the top of pipe shall be minimum 1200mm. A Draft Issue for Review N.C W.F W.F DEC '14 10001-JB-22A-PRE-0416 A DEC '14PHW.FN.C 1:2000@A1 10001 OF ASSET 11 REPORT & GULLY DETAILS STORM SEWER MANHOLE PRELIMINARY DESIGN DIYAR AL MUHARRAQ PRIORITY WORKS PRIMARY INFRASTRUCTURE
  • 17.
    1:30 CROSSFALL 2001000200 250250 50 POSITIONOF ACCESS HOLE HALF ROUND CHANNEL 1000 G POLYTHENE SHEET 250 1400 250 3000Max.300 MASTIC SEALANT 50x25mm THICK WITH BOND BREAKER MEMBRANE TOUNDRESIDE ONLY RTR LINER IN ACCORDANCE WITH SECTION 'F' OF THE SPECIFICATION 200 REINFORCEMENT BAR MEDIUM OR HEAVY DUTY CAST IRON COVER AND FRAME WITH RTR SEALING PLATE ROAD LEVEL (PAVED AREAS) COVER LEVEL -5 ROAD LEVEL (UNPAVED AREAS) COVER LEVEL -50 GROUND LEVEL (OPEN AREAS) COVER LEVEL -150 CONCRETE HAUNCH GRADE C 45/20 PRECAST COVER SUPPORT PAINTED INTERNALLY WITH EPOXY MORTAR 800 10mm THICK EPOXY MORTAR 250mm THICK CONCRETE WALL (C45/20) CONCRETE BLINDING 50mm THICK PAINT PROTECTION IN ACCORDANCE WITH SECTION G OF THE SPECIFICATION (TABLE G1) BENCHING TO BE C45/20 CONCRETE FINISHED WITH 10mm THICK EPOXY MORTAR 3-3 T16-180 B 5 T16 145 B 5 T16 145 B 5 T16-145 B 1+4 T16-145 B 4 T16 TRIMMER BARS 310800790 550 1900 550 800 STORM WATER STO R M W ATER STO R M W ATER STO R M W ATER STO R M W ATER 10 THICK EPOXY MORTAR 200 THICK CONCRETE WALL (C45/20) HALF ROUND CHANNEL 1000 G POLYTHENE SHEET CONCRETE BLINDING 50 THICK PAINT PROTECTION IN ACCORDANCE WITH SECTION G OF THE SPECIFICATION (TABLE G1) 200 800 200 2000Max.250 50 MEDIUM OR HEAVY DUTY CAST IRON COVER AND FRAME WITH RTR SEALING PLATE ROAD LEVEL (PAVED AREAS) COVER LEVEL -5 ROAD LEVEL (UNPAVED AREAS) COVER LEVEL -50 GROUND LEVEL (OPEN AREAS) COVER LEVEL -150 CONCRETE HAUNCH GRADE C 45/20 PRECAST COVER SUPPORT PAINTED INTERNALLY WITH EPOXY MORTAR 1:30 CROSSFALL 1200 50 50 1:30 CROSSFALL 1001000100 250250 50 POSITION OF ACCESS HOLE 3-3 T20-100 B 4 T20-200 B 4 T20-200 B 4 T20-200 B 1+5 T20-100 B 4 T20 TRIMMER BARS 300800600 450 450 1700 10mm THICK EPOXY MORTAR 250mm THICK CONCRETE WALL (C45/20) HALF ROUND CHANNEL 1000 G POLYTHENE SHEET CONCRETE BLINDING 50mm THICK PAINT PROTECTION IN ACCORDANCE WITH SECTION G OF THE SPECIFICATION (TABLE G1) 250 1200 250 3000Max.300 BENCHING TO BE C45/20 CONCRETE FINISHED WITH 10mm THICK EPOXY MORTAR MASTIC SEALANT 50x25 THICK WITH BOND BREAKER MEMBRANE TO UNDRESIDE ONLY RTR LINER IN ACCORDANCE WITH SECTION 'F' OF THE SPECIFICATION 200 REINFORCEMENT BAR MEDIUM OR HEAVY DUTY CAST IRON COVER AND FRAME WITH RTR SEALING PLATE ROAD LEVEL (PAVED AREAS) COVER LEVEL -5 ROAD LEVEL (UNPAVED AREAS) COVER LEVEL -50 GROUND LEVEL (OPEN AREAS) COVER LEVEL -150 CONCRETE HAUNCH GRADE C 45/20 PRECAST COVER SUPPORT PAINTED INTERNALLY WITH EPOXY MORTAR 800 CHAMBER TYPE - D (SCALE 1:20) (SCALE 1:20) CHAMBER TYPE - G(SCALE-1:20) (SCALE 1:10) (SCALE 1:10) (SCALE 1:10) (SCALE 1:20) (SCALE 1:20) (SCALE 1:20) (SCALE-1:20) CHAMBER TYPE - F (SCALE 1:20) Rev Description Prep ChkdAppdDate Client Design Consultant Project Stage Title Scale Checked Approved Date Drawing No. Rev Prepared Job No. 10001-JB-11-PRE-0417 A DEC '14PHW.FN.C 1:20@A1 10001 & COVER TYPES OF ASSET 11 CHAMBER DETAILS TYPE D,F & G STORM SEWER MANHOLE PRELIMINARY DESIGN DIYAR AL MUHARRAQ PRIORITY WORKS PRIMARY INFRASTRUCTURE Notes 1. This Drawing is to be read in conjunction with all other relevant documentation. 2. Do not scale from this drawing, use only printed dimensions. 3. All dimensions in millimetres, all chainages, levels and coordinates are in metres unless defined otherwise. 4. This drawing is to be read in conjunction with the project Health and Safety File for any identified potential risks. 5. Pipe diameters up to 450mm, shall be of uPVC. 6. Pipe diameters above 450mm, shall be of GRP material. 7. Minimum clear cover from finish grade level to the top of pipe shall be minimum 1200mm. A Draft Issue for Review N.C W.F W.F DEC '14