+
BIOL 2P96
Biology of Fungi
Library Resources
Happy
Pearl Jacobson, Science Librarian, Carleton
University
Ian Gordon
Wang, C. et al. “Antifungal Activity of Eugenol Against Botrytis
Cinerea ; Antifungal Activity of Eugenol Against Botrytis Cinerea.”
Tropical Plant Pathology 3 (2010): 137-143
Yazdanpanah, L. & Mohamdi, N. (2014). Antifungal acticvity of the clove essential
oil from Syzygium aromaticum on Paecilomyces variotii agent of pistachio
dieback. Journal of Biodiversity and Environmental Sciences 4(6): 42-45.
Clove Oil eugenol
Zohreh Fathi, Abbas Hassani, Youbert Ghosta, Ali Abdollahi & Mohammad Hadi
Meshkatalsadat (2012) The Potential of Thyme, Clove, Cinnamon and Ajowan
Essential Oils in Inhibiting the Growth of Botrytis cinerea and Monilinia fructicola,
Journal of Essential Oil Bearing Plants, 15:1, 38-47, DOI:
10.1080/0972060X.2012.10644017
Thyme Oil thymol 89-83-8
Zabka, M., & Pavela, R. (2013). Antifungal efficacy of some natural
phenolic compounds against significant pathogenic and toxinogenic
filamentous fungi. Chemosphere, 93(6), 1051–1056.
https://doi.org/10.1016/j.chemosphere.2013.05.076
PubChem CID:
Eugenol 3314
Thymol 6989
Eucalyptol 2758
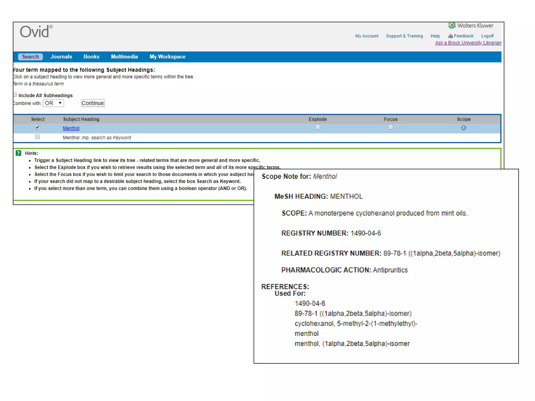
Menthol 1254
(1) Połeć, K.; Wójcik, A.; Flasiński, M.; Wydro, P.; Broniatowski,
M.; Hąc-Wydro, K. Biochimica et Biophysica Acta (BBA) -
Biomembranes 2019, 1861 (6), 1093-1102.
https://doi.org/10.1016/j.bbamem.2019.03.015
Oil of peppermint = Menthol 1490-04-6
Ahmad, Bashir, et al. "The antifungal, cytotoxic, antitermite and
insecticidal activities of Zizyphus jujube." Pakistan Journal of
Pharmaceutical Sciences, vol. 24, no. 4, 2011, p. 489+.
Eucaluptus oil Eucalyptol 470-82-6
Połeć, K., Wójcik, A., Flasiński, M., Wydro, P., Broniatowski, M.,
& Hąc-Wydro, K. (2019). The influence of terpinen-4-ol and
eucalyptol – The essential oil components - on fungi and plant
sterol monolayers. Biochimica et Biophysica Acta (BBA) -
Biomembranes, 1861(6), 1093–1102.
https://doi.org/10.1016/j.bbamem.2019.03.015
Library Biological Sciences Research Guide
Scholarly Articles tab
Databases: Google (PDFs), allintitle:keyword filetype:PDF
Google Scholar, BIOSIS Citation Index, / Web of Science (MEDLINE),
CAB Abstracts with Fulltext, MEDLINE (PubMed), MEDLINE (OVID), SciFinder, Omni…
Search for articles using AND / OR logic, different keywords, truncation*, phrases “ “
Interlibrary Loan / RACER sign up for an account
Writing & Citing tab
Help with Writing, Presentations and Lab Reports!
Zotero
Book a Consultation
We can help!
+
BIOL 2P96
Biology of Fungi
Library Resources
Happy
Pearl Jacobson, Science Librarian, Carleton
University
Ian Gordon
BIOL 2P96 winter 2020 Library Seminar ppt slides
BIOL 2P96 winter 2020 Library Seminar ppt slides
BIOL 2P96 winter 2020 Library Seminar ppt slides
BIOL 2P96 winter 2020 Library Seminar ppt slides
BIOL 2P96 winter 2020 Library Seminar ppt slides
BIOL 2P96 winter 2020 Library Seminar ppt slides
BIOL 2P96 winter 2020 Library Seminar ppt slides
BIOL 2P96 winter 2020 Library Seminar ppt slides
BIOL 2P96 winter 2020 Library Seminar ppt slides
BIOL 2P96 winter 2020 Library Seminar ppt slides

BIOL 2P96 winter 2020 Library Seminar ppt slides

  • 1.
    + BIOL 2P96 Biology ofFungi Library Resources Happy Pearl Jacobson, Science Librarian, Carleton University Ian Gordon
  • 15.
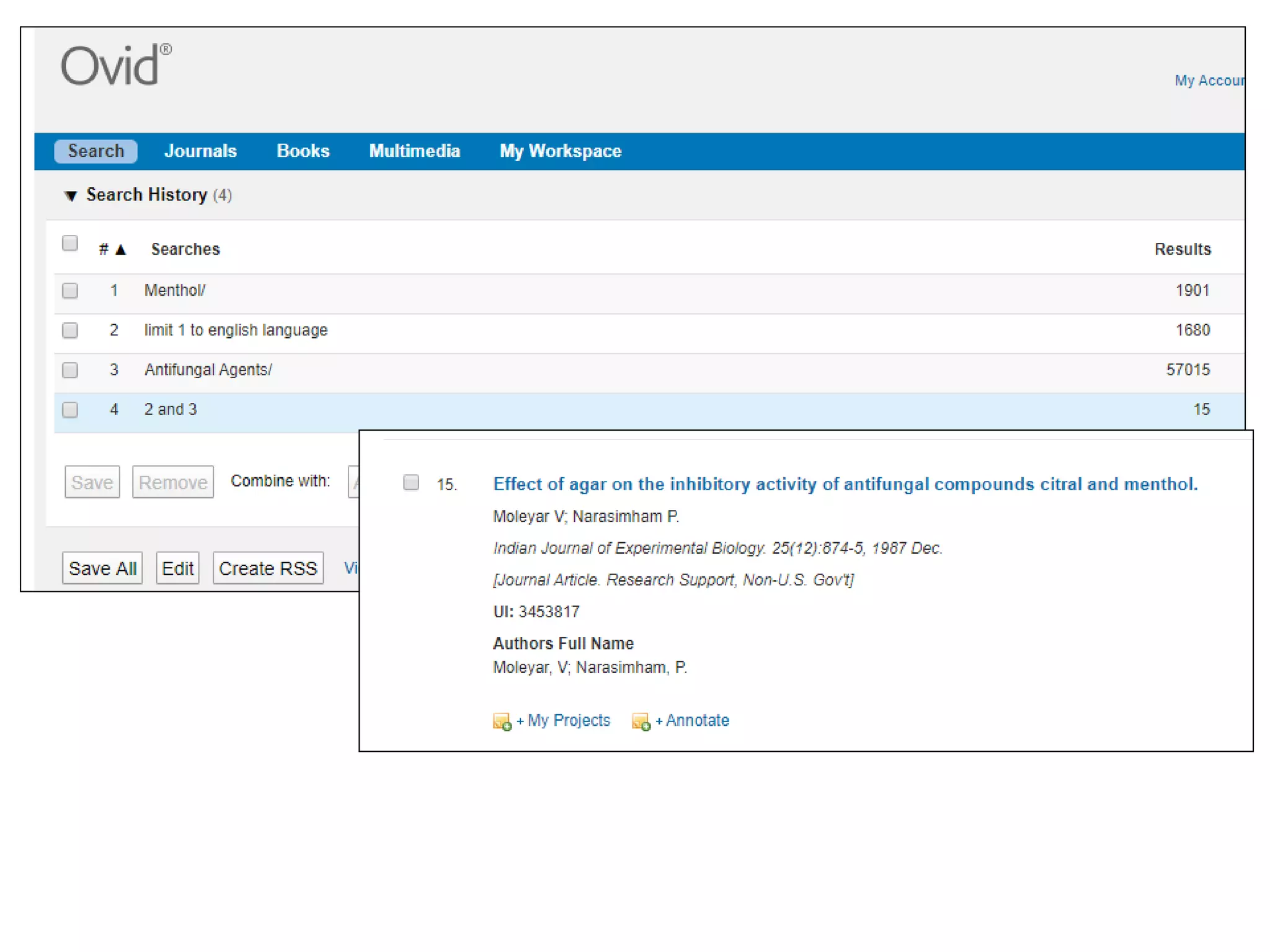
    Wang, C. etal. “Antifungal Activity of Eugenol Against Botrytis Cinerea ; Antifungal Activity of Eugenol Against Botrytis Cinerea.” Tropical Plant Pathology 3 (2010): 137-143
  • 17.
    Yazdanpanah, L. &Mohamdi, N. (2014). Antifungal acticvity of the clove essential oil from Syzygium aromaticum on Paecilomyces variotii agent of pistachio dieback. Journal of Biodiversity and Environmental Sciences 4(6): 42-45.
  • 22.
  • 27.
    Zohreh Fathi, AbbasHassani, Youbert Ghosta, Ali Abdollahi & Mohammad Hadi Meshkatalsadat (2012) The Potential of Thyme, Clove, Cinnamon and Ajowan Essential Oils in Inhibiting the Growth of Botrytis cinerea and Monilinia fructicola, Journal of Essential Oil Bearing Plants, 15:1, 38-47, DOI: 10.1080/0972060X.2012.10644017
  • 29.
  • 30.
    Zabka, M., &Pavela, R. (2013). Antifungal efficacy of some natural phenolic compounds against significant pathogenic and toxinogenic filamentous fungi. Chemosphere, 93(6), 1051–1056. https://doi.org/10.1016/j.chemosphere.2013.05.076
  • 35.
    PubChem CID: Eugenol 3314 Thymol6989 Eucalyptol 2758 Menthol 1254
  • 38.
    (1) Połeć, K.;Wójcik, A.; Flasiński, M.; Wydro, P.; Broniatowski, M.; Hąc-Wydro, K. Biochimica et Biophysica Acta (BBA) - Biomembranes 2019, 1861 (6), 1093-1102. https://doi.org/10.1016/j.bbamem.2019.03.015
  • 40.
    Oil of peppermint= Menthol 1490-04-6
  • 44.
    Ahmad, Bashir, etal. "The antifungal, cytotoxic, antitermite and insecticidal activities of Zizyphus jujube." Pakistan Journal of Pharmaceutical Sciences, vol. 24, no. 4, 2011, p. 489+.
  • 46.
  • 49.
    Połeć, K., Wójcik,A., Flasiński, M., Wydro, P., Broniatowski, M., & Hąc-Wydro, K. (2019). The influence of terpinen-4-ol and eucalyptol – The essential oil components - on fungi and plant sterol monolayers. Biochimica et Biophysica Acta (BBA) - Biomembranes, 1861(6), 1093–1102. https://doi.org/10.1016/j.bbamem.2019.03.015
  • 64.
    Library Biological SciencesResearch Guide Scholarly Articles tab Databases: Google (PDFs), allintitle:keyword filetype:PDF Google Scholar, BIOSIS Citation Index, / Web of Science (MEDLINE), CAB Abstracts with Fulltext, MEDLINE (PubMed), MEDLINE (OVID), SciFinder, Omni… Search for articles using AND / OR logic, different keywords, truncation*, phrases “ “ Interlibrary Loan / RACER sign up for an account Writing & Citing tab Help with Writing, Presentations and Lab Reports! Zotero Book a Consultation We can help!
  • 65.
    + BIOL 2P96 Biology ofFungi Library Resources Happy Pearl Jacobson, Science Librarian, Carleton University Ian Gordon