1
OBJECTIVES
The main objective of this case study is enabling students to develop knowledge regarding
the normal growth and development of children, identify different diseases in a specific age
group, gain skill and practice in providing nursing care, provide advices, health teaching to
patient and family for management of the disease.
During this process I got opportunities to learn about disease condition, its complications and
complication that arise due to the disease.
General Objectives:
To obtain detail birth and medical/ pediatric history of patient
Describe process of growth and development of children from birth to adolescence
Explain the neonatal assessment and different level of care and strategies
Discuss common childhood disease/ problems related to various systems, etiology,
pathophysiology of diseases, diagnostic tests, treatment and nursing care
To perform physical assessment of the child
To learn about the disease process and it’s prevalence
To provide advices, health teaching to patient and family for management of the disease,
medications and complications
Apply nursing process for caring the child with disease
To identify minor and major discomfort and advice relieving and coping mechanisms
To apply nursing process to care the client
To identify the different modern technologies to treat the disease and overcome the
problems regarding childhood health and educate them and their family about child
health
2
3
PATIENT’s HISTORY
A. Demographic Data
Date of interview:2070/4/15
Name of Patient: Biplav Dhital
Age:13 years Sex: Male
Cast: Brahmin Religion: Hindu
Ward: Medical Bed No:343
IP No: 85169
Address:
Permanent: Gorkha Ph. No:
Temporary: Lazimpat
Information obtained from client : Bed Prasad Dhital (father)
Date Of Admission: 2070/4/11
Medical Diagnosis: Mucopolysaccharidoses
B. Chief Presenting Complaints
Generalized weakness X 1year
Progressive deterioration of school performance since 1 year
Involuntary body movement for 1 and half hour 10 days prior to day of
admission
Child was asymptomatic 1 years back
C. History Of Present Illness
Patient developed progressive generalized weakness with easy fatigability with his
history of shortness of breath upon exertion and while climbing upstairs, history of
progressive deterioration of school performance since 1 year with history of fine
tremors of all limbs because of which patient was unable to carry out daily activities
smoothly.
4
D. Past History:
Patient history of involuntary body movement 1 episode for one and half an hour
followed by uprolling of eyes with deviation of mouth, drolling from mouth, stiffening
of body and titanic spasms of hands with epileptic features
patient was apparently well one year back, when he develop viral fever for 1 week and
was treated with amoxicillin 250mg and cetamol for one week
After this episode of fever patient’s general condition started to deteriorate with visible
symptoms
1. Birth history (Prenatal, Natal and Postnatal History)
Gravida/ Para: G3P3
Tetanus toxoid: taken two doses TT
Medication during pregnancy: was under continuous iron and calcium supplementation
Duration of labour: 12 hour
Types of delivery: Vaccum delivery
Place of delivery: Instituitional delivery
Gestational age at birth: full term Apprx. 3kg birth weight
Condition of baby at birth: didn’t cry immediately after birth, cried almost after 1 hour
Admitted in NICU for 4 days for late cry
Any complication of birth: Prolonged second stage
Contraception use of mother: DPO
2. Nutritional history
Duration of breastfeeding : complete six month
Age of weaning: at beginning of 7 month
Food intake in a day: 4-5 times per day
Dietary pattern before the present illness
balanced meal comprising all sources of nutrients carbohydrates, proteins, vitamins
and minerals (i.e rice, cereals, meats, milk and milk products, vegetables and fruits)
5
3. Previous Illness
Illness/ Disease Remarks
Malnutrition X
Tuberculosis X
Whooping cough X
Diptheria X
Measles X
Mumps X
Polio X
Rheumatic fever X
Diarrhea X
Injuries/ Accidents X
Hospitalization (reason) 4 days hospitalization after birth for delayed
crying
Operation/ any special treatments (e.g blood
transfusion)
No any
4. Allergies
Environment/Food/ Drug/ Others: not present
5. Immunization
Name of vaccine At what age Remarks
BCG At birth
DPT/Hib/HB-1 Approx at 2 months
DPT/Hib/HB-2 Approx at 4 months
DPT/Hib/HB-3 Approx at 6 months
Polio-1 Approx at 2 months
Polio-2 Approx at 4 months
Polio-3 Approx at 6 months
Measles Approx at 9 months
JE -
Others -
6
6. Developmental History (milestones): at what age
Neck holding: 6 months
Roll over: 1 year
Crawl: One and half year
Sit: one and half year
Stand: 2 years
Walk: 2 and half years
Monosyllable: 13 months
Bisyllable: One and half years
Two words with meaning: 3 years
Feeding: after 7 months
7. Habits
Sleeping habit: 10- 12 hours per day
Play interest: was play full a year back but due to weakness and deteriorating physical
condition plays indoor games
Bowel/ bladder habit: regular, no history of constipation and diarrhea
Special problems: cannot concentrate for long time and progressively deteriorating physical
and mental capabilities
Coping behavior: not specific
Relation with parents/ peers/ friends: has harmonious relationship with siblings, peers and
family members
Recent family changes: not any
8. Home Environment
Water: spring Waste disposal: dumping
Latrine: water seal
House: two stored concrete (cement and brick), separate kitchen
7
E. family History
S.N No. of children Age Health Status
1. Biplav Dhital 13 years Ill
2. Sarita Dhital 11 years Healthy
3. Renu Dhital 8 years Healthy
Mother’s family
High blood pressure: not any
Diabetes: not any
Cancer: not any
Blood disorder: not any
Cardiovascular problems: not any
Arthritis/ Gout: not any
Asthma: not any
Tuberculosis: not any
Others: X
Father’s family
High blood pressure: not any
Diabetes: not any
Cancer: grandfather (blood cancer)
Blood disorder: grandfather (blood cancer)
Cardiovascular problems: not any
Arthritis/ Gout: not any
Asthma: not any
Tuberculosis: not any
Others: X
8
Family Tree
62years 56yrs
55yrs 60yrs (blood cancer)
42 yrs 40yrs 39yrs 37yrs 33yrs 30yrs 28yrs 40yrs 38yrs 36yrs 31yrs 29
13yrs 11yrs 8yrs
Ill Healthy Healthy
Key:
Alive healthy male
Alive healthy female
Patient
P
P
9
Physical Examination
Physical Examination
(Objective Data)
Yes No Findings/ Comments
1. Vital Sign:
Temperature:
Pulse:
Respiration:
Rate:
Rhythm:
Regularity:
Blood Pressure:
✓ Vital Sign:
Temperature:98ºf
Pulse:88/m
Respiration:20/m
Rate: normal
Rhythm: rhythmic
Regularity: regular
Blood Pressure:-
2. Anthropometric Measurement
Height / Length:
Weight:
Height / Length: 127cm
Weight: 23kg
3.General Appearance
Alertness/Drowsiness
Consciousness:
Irritability:
Hygiene:
Posture/ Gait:
✓
✓
✓
✓
✓
General Appearance:
Alert
Conscious
Not irritable
Hygiene maintained
Posture abnormal (tilted, head and
hands facing outside)
4. Lymph Nodes Examination
-Pre-auricle:
-Post-auricle:
-Sub-mandible:
-Sub-clavicle:
-Cervical:
-Auxiliary:
-Inguinal:
✓
Red/ Enlargement/ Tenderness
No any lymph node redness,
enlargement or tenderness
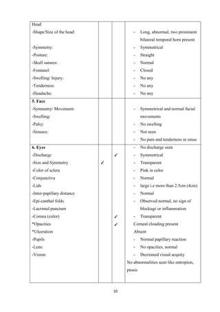
4. Head
Hair
-Color and texture:
-Hygiene:
- Black color, smooth texture
- Hair hygiene not maintained
10
Head
-Shape/Size of the head:
-Symmetry:
-Posture:
-Skull sutures:
-Fontanel:
-Swelling/ Injury:
-Tenderness:
-Headache:
- Long, abnormal, two prominent
bilateral temporal horn present
- Symmetrical
- Straight
- Normal
- Closed
- No any
- No any
- No any
5. Face
-Symmetry/ Movement:
-Swelling:
-Palsy:
-Sinuses:
- Symmetrical and normal facial
movements
- No swelling
- Not seen
- No pain and tenderness in sinus
6. Eyes
-Discharge
-Size and Symmetry
-Color of sclera
-Conjunctiva
-Lids
-Inter-papillary distance
-Epi-canthal folds
-Lacrimal punctum
-Cornea (color)
*Opacities
*Ulceration
-Pupils
-Lens:
-Vision:
✓
✓
✓
✓
- No discharge seen
- Symmetrical
- Transparent
- Pink in color
- Normal
- large i.e more than 2.5cm (4cm)
- Normal
- Observed normal, no sign of
blockage or inflammation
- Transparent
Corneal clouding present
Absent
- Normal papillary reaction
- No opacities, normal
- Decreased visual acquity
No abnormalities seen like entropion,
ptosis
11
7. Ears
-Pinna (Shape/Size/Location)
-Skin around ear
-Wax
-Tympanic membranes
*Color
*Tenderness
-Hearing defect
✓
✓
✓
Normally located
No extra growths, normal
Present but not in excessive amount
Healthy, no ulceration and
inflammation observed
Slight yellowish
Absent
Present
8.Nose:
-Structure
-Placement/alignment
-Nasal flaring
-Mucosa
-Septum
*Polyps/ Swelling
-Discharge
✓
✓
flat
Centrally located, no deviations, normal
shape and size
Uniform in size
Pink
Normal, no deviation
Absent
Absent
9. Mouth and Throat
Sore on lips
Color/ cracks/ ulceration
Oral cavity
Mucus membrane color
Gum-bleeding/ ulceration/ swelling
Missing teeth
Dental caries
Tongue
Odor from mouth
Difficulty in swallowing
Tonsils
✓
✓
✓
✓
✓
✓
✓
Absent
Pink color, no cracks and ulceration
seen
Oral mucus membrane pink, no sores
and ulceration
Absent
Absent
Pink in color, no sign of anemia
Absent
Absent
Pink, small, no sign of inflammation
10.Neck
Size/Shape Normal size and shape, centrally
located xiphoid process, no mass and
scars present
12
Movements
Thyroid Gland
Shape/size/position
Visible/not visible
Palpable/not palpable
✓
✓
✓
Smooth range of motion, no rigidity and
stiffening, no tenderness
Normal size and shape
Not visible
Not palpable
11.Chest
Size and shape
Symmetry
Movement
Rib cage- number
Intercostals space-
tenderness/swelling
Sternum- location
Costal angle
Nipples- position
Pain
Auscultation
Percussion
Pigeon shaped chest , centrally located
xiphoid process, no mass and scars
present AP: 17inch and lateral 22 inch
Smooth range of motion, no rigidity and
stiffening, no tenderness
12 on each side (24 total)
Absent
Central
Symmetrical, tilted downward and
laterally
In midclavicular line
Absent
Normal size and shape
No abnormal breath sound present
Deep resonant sound
12. Lungs
Apex
Respiratory movements
Dyspnea
Breath sound
Grunting
Chest pain
Cough/ sputum
Wheeze
✓
✓
Normal breathe sound heard, located on
2nd
intercostals space
Normal
Absent
Adventitious breathe sound absent
Absent
Absent
Absent
Absent
13
13. Heart
Inspection
Neck vein- distended/ not distended
Clubbing of fingers-yes/no
Cyanosis, central, peripheral
Edema
Palpation
Apical pulse
Capillary Refill
Auscultation
Heart sounds
✓
✓
✓
✓
Jugular vein not distended
Absent
Absent
Absent
Regular, rhythmic
Normal i.e.<3sec
No abnormal heart sound heard
14. Abdomen
Inspection
Skin
Shape/ size:
Abdomen-
distended/ascites/protruding
Umbilicus- herniation/ discharge/
hygiene and fistula
Auscultation
Bowel sound: Present/ absent
Percussion:
Dullness or flat
Palpation
Pain/ tenderness/ masses
Liver-palpable/ not palpable
spleen-palpable/ not palpable
kidney-pain/ tender
✓
✓
✓
✓
✓
✓
No signs of dehydration, smooth, no
striae, lesions of incision mark seen
Round and normal, no sign of
distention, herniation, no dilated veins
seen
Normal and present i.e gurgling and
clicks
Normal sound heard (tympanic)
Percussion performed in four regions
around abdomen
Pain, tenderness and masses absent
Liver not palpable
Spleen not palpable
Not tender
15.Genitalia
Male genitalia
External appearance of penis,
urethral and scrotum, prepuce size/
✓
Normal in appearance, normal size no
hypospodias present, prepuce size
normal
14
discharge
Pain of swelling in the scrotum
Anus
Anal opening
Irritation
Crack
Fissures
Enlarged vessels/ hemorrhoids
Pain/ tenderness
✓
✓
✓
✓
✓
✓
✓
Absent
Present and normal
Absent
Absent
Absent
Absent
Absent
16. posture
Body movements
Peripheral sensation
Skin sensation to warm/cold
✓
✓
✓
Abnormal body movements present like
seizure, convulsions and tremors
Intact
Normal sensation
17. Reflexes
Planter/ knee jerk/biceps/triceps
reflex
✓ Exaggerated reflexes
18.Musculoskeletal:
Extremities
Symmetry of length
Size/shape
Number of finger and toes
Color
Tenderness
Pain
Muscle/tone and strength
Joint:
Swelling/movement/tenderness/pain
✓
✓
✓
All extremities are proportionate and
symmetrical
Normal
10 fingers and 10 toes
pink
Absent
Absent
Poor muscle tone and strength
Absent
15
Summary of findings
I performed head to toe physical examination of Biplav Dhital, 13 years male diagnosed with
Mucopolysaccharidoses admitted on 2070/4/11 in medical ward. The findings
obtained during this procedure are listed below
Vital Signs:
Temperature: 98ºf
Pulse: 88/m
Respiration:20/m
Anthropoemetric measurement:
Height: 127cm
Weight: 23 cm
Abnormal findings:
Patient was alert and conscious at the time of physical examination.
Patient’s general condition was good
Patient’s personal hygiene was well maintained
Patients was well hydrated
Absence of edema
General appearance:
- Coarse facial appearance
- Flat nasal bridge
- Pallor negative, cyanosis negative
- Large intracanthal distance (4.5cm)
- Dental spacing in all teeths
Prominent bilateral temporal horns, abnormal contour of head
Decreased visual acquity of both eye
No appearance of secondary sexual characteristics
Decreased muscle mass in limbs
Decreased strength
Exaggerated reflexes
Pigeon shaped chest with pectus excavation bilateral
No abnormal heart sounds present
Scioliosis present with concavity towards Right side
Lesion in right side of back due to fall
Corneal clouding on both eye
16
Developmental tasks
As my patient is of age 13 years he falls under group adolescents and has following
developmental tasks
According to book In my patient
Adjust to sexually maturing bodies
and feelings
Develop and apply abstract thinking
skills
Develop and apply new perspective
on human relationships
Develop and apply new coping skills
in areas such as decision making,
problem solving, and conflict
resolution
Identify meaningful moral standards,
values, and belief systems
Understand and express more
complex emotional experiences
Form friendships that are mutually
close and supportive
Establish key aspects of identity
Meet the demands of increasingly
mature roles and responsibilities
Renegotiate relationships with adults
in parenting roles
He hasn’t achieved this goal due to
developmental in development of
secondary sexual characteristics
He hasn’t achieved it as a result of
progressive degradation of
intellectuality
He hasn’t achieved this goal as a lack
of abstract thinking and perspectives
He has achieved this goal but in
minimal level as his decision making
capacity is not yet evolved however
he’s capable of solving very few of
his problems
He hasn’t achieved this goal as this
development is lagging and is as
equal as of a school age children
He hasn’t achieved this tasks either
He has achieved this goal as his father
mentioned he has developed this sorts
of relation with his friends
He hasn’t achieved this goal
He hasn’t achieved this goal as he’s
growth is retrograded at school age
He is still dependent on his parents
and hasn’t seek independence thus
hasn’t renegotiate his relationship
17
18
Anatomy
Lysosomes
Lysosomes are membrane-enclosed organelles that contain an array of enzymes capable of
breaking down all types of biological polymers—proteins, nucleic acids, carbohydrates,
and lipids. Lysosomes function as the digestive system of the cell, serving both to degrade
material taken up from outside the cell and to digest obsolete components of the cell itself.
Lysosomes are cellular organelles that contain acid hydrolase enzymes that break down waste
materials and cellular debris. They can be described as the stomach of the cell.
Lysosomes contain about 50 different degradative enzymes that can
hydrolyze proteins, DNA, RNA, polysaccharides, and lipids. Mutations in the genes that encode
these enzymes are responsible for more than 30 different human genetic diseases, which are
called lysosomal storage diseases because undegraded material accumulates within the
lysosomes of affected individuals. Most of these diseases result from deficiencies in single
lysosomal enzymes.
Function of lysosomes
There are two major functions of lysosomes and they are phagocytosis and autophagy
In phagocytosis, specialized cells, such as macrophages, take up and degrade large particles,
including bacteria, cell debris, and aged cells that need to be eliminated from the body. Such
19
large particles are taken up in phagocytic vacuoles (phagosomes), which then fuse with
lysosomes, resulting in digestion of their contents.
Lysosomes are also responsible for autophagy, the gradual turnover of the cell’s own
components. The first step of autophagy appears to be the enclosure of an organelle (e.g., a
mitochondrion) in membrane derived from the endoplasmic recticulum (ER). The resulting
vesicle (an autophagosome) then fuses with a lysosome, and its contents are digested
Introduction
Lysosomal storage disorders
Lysosomal storage diseases are a group of approximately 50 rare inherited metabolic
disorders that result from defects in lysosomal function. Lysosomal storage are genetic
diseases caused by specific enzyme deficiencies that result in the buildup of undegraded
substance inside cell organelles called lysosomes.
Lysosomes function as recycling units of each cell which harbor specific enzymes that
breakdown several substances, including proteins, sugars and lipids into simple products that
the cell then utilizes to build renewal these substances. Each of these lysosomal enzymes has
specific substances that they are capable of degrading. Lysosomal enzymes break down
macromolecules, either those from the cell itself (eg, when cellular structural components are
being recycled) or those acquired outside the cell. Inherited defects or deficiencies of
lysosomal enzymes (or other lysosomal components) can result in accumulation of
undegraded metabolites. Therefore, LSDs manifest as systemic diseases in patients with
multiple and progressive neurological, renal, cardiovascular, gastro-intestinal, musculo-
skeletal, ophthalmological, cutaneous and respiratory problems. This ultimately results in the
impairment of lysosomal function and consequently cell function in multiple organs and
systems.
20
Almost 60 LSD have been described known lysosomal storage diseases. Some common LSD
include:
Fabry disease – known as X-linked genetic disease but affect both male and females with
kidney, heart and pulmonary problems, chronic pain and s typical skin sign
Gaucher disease – progressive LSD causing enlargement of spleen, liver and bone lesions.
Some forms affect also the brain causing sever neurological problems
Mucopolysaccharidosis (I-VII) – result from accumulation of mucopolysaccharides in
causing progressive damage multiple organs and systems including heart, bones, joints, eyes,
respiratory system and central nervous system. While the disease may not be apparent at
birth, signs and symptoms develop with age as more cells become damaged by the
accumulation of cell materials
21
Niemann-Pick C disease – results in progressive neurological condition along with
enlargement of the spleen and liver, as well as lung disease
Pompe disease - an often fatal is presented in infancy with storage disease in which glycogen
builds up mainly in the heart, initially also known as acid maltase deficiency. If it manifests
in childhood and adulthood, Pompe can cause progressive shoulder, hips and respiratory
muscles
Metachromatic leukodystrophy and Krabbe disease – devastating LSD that result in
progressive and neurodegerative diseases. When presented in adulthodd are associated with
neuropathies and psychiatric problems.
Tay-Sachs disease - a LSD causing severe and progressive causing degeneration of the brain
in infants and nerve (pain and tactile sensation problems) and psychiatric problems in
adolescence and adults.
Incidence
The LSD are genetic disorders are rare. LSD incidence has shown recently to be 1/2,000-
3,000 live-births.
Because there are numerous specific deficiencies, storage diseases are usually grouped
biochemically by the accumulated metabolite. Subgroups include
Mucopolysaccharidoses
Sphingolipidoses (lipidoses)
Mucolipidoses
The most important are the mucopolysaccharidoses and sphingolipidoses.
22
MUCOPOLYSARCIODOSES
Introduction
Mucopolysaccharidoses are group of metabolic disorders caused by the absence or
malfunctioning of lysosomal enzymes needed to breakdown molecules called
glycosaminoglycans- long chains of sugar carbohydrates in each of our cells that help build
bone, cartilage, tendons, corneas, skin and connective tissues. Glycosaminoglycans (formerly
called mucopolysaccharidoses) are also found in the synovial fluid.
People with a mucopolysaccharidoses disease either do not produce enough of one of the 11
enzymes required to break down sugar chain or they produce defective enzymes.
Over time, these glycosaminoglycans collect in the cells, blood and connective tissues. The
result is permanent, progressive cellular damage which affects appearance, physical abilities,
organ and system functioning, and, in most cases, mental development.
The mucopolysaccharidoses are part of the lysosomal storage disease family, a group of more
than 40 genetic disorders that result when a specific organelle in our bodies' cells – the
lysosome – malfunctions. The lysosome is commonly referred to as the cell’s recycling center
because it processes unwanted material into substances that the cell can utilize.
Lysosomes break down this unwanted matter via enzymes, highly specialized proteins
essential for survival. Lysosomal disorders like mucopolysaccharidoses are triggered when a
particular enzyme exists in too small an amount or is missing
Types
There are seven clinical types and subtypes of mucopolysaccharidoses depending on the type
of enzymes deficient
S.N Types Deficient enzymes Accumulated
products
1 MPS I
MPS IH-Hurler Syndrome
MPS IH/S- Hurler Scheie
Syndrome
MPS IS- Scheie Syndrome
α-L-iduronidase Heparan sulfate
Dermatan sulfate
2 MPS II – Hunters Syndrome Iduronate sulfatase Heparan sulfate
23
3 MPS III
MPS IIIA- Sanfilippo syndrome A
MPS IIIB- Sanfilippo syndrome B
MPS IIIC- Sanfilippo syndrome C
MPS IIID- Sanfilippo syndrome D
Heparan sulfamidase
N-acetylglucosaminidase
Heparan-α-glucosaminide
N-acetyltransferase
N-acetylglucosamine 6-
sulfatase
Heparan sulfate
4 MPS IV
MPS IVA-Morquino Syndrome A
MPSIVB- Morquino Syndrome B
Galactose-6-sulfate
sulfatase
β-galactosidase
Keratan sulfate
Chondroitin 6-sulfate
Keratan sulfate
5 MPS IS- Scheie Syndrome
6 MPS VI - Maroteaux-Lamy Syndrome N-acetylglucosamine 4-
sulfatase
Dermatan sulfate
7 MPS VII- Sly Syndrome β-glucronidase Heparan sulfate
Dermatan sulfate
Chondroitin 4,6-
sulfate
9 MPSIX-Natowicz Syndrome Hyaluronidase Hyaluronic acid
1. MPS I
MPS I is divided into three subtypes based on severity of symptoms. All three types result
from an absence of, or insufficient levels of, the enzyme alpha-L-iduronidase. Children born
to an MPS I parent carry the defective gene.
MPS I H (also called Hurler syndrome or α-L-iduronidase deficiency), is the most
severe of the MPS I subtypes. Developmental delay is evident by the end of the first year,
24
and patients usually stop developing between ages 2 and 4. This is followed by
progressive mental decline and loss of physical skills. Language may be limited due to
hearing loss and an enlarged tongue. In time, the clear layers of the cornea become
clouded and retinas may begin to degenerate. Carpal tunnel syndrome (or similar
compression of nerves elsewhere in the body) and restricted joint movement are
common.
Affected children may be quite large at birth and appear normal but may
have inguinal (in the groin) or umbilical (where the umbilical cord passes through the
abdomen) hernias. Growth in height may be faster than normal but begins to slow before
the end of the first year and often ends around age 3. Many children develop a short body
trunk and a maximum stature of less than 4 feet. Distinct facial features (including flat
face, depressed nasal bridge, and bulging forehead) become more evident in the second
year. By age 2, the ribs have widened and are oar-shaped. The liver, spleen, and heart are
often enlarged. Children may experience noisy breathing and recurring upper respiratory
tract and ear infections. Feeding may be difficult for some children, and many experience
periodic bowel problems. Children with Hurler syndrome often dies before age 10 from
obstructive airway disease, respiratory infections, and cardiac complications.
MPS I S, Scheie syndrome, is the mildest form of MPS I. Symptoms generally begin to
appear after age 5, with diagnosis most commonly made after age 10. Children with
Scheie syndrome have normal intelligence or may have mild learning disabilities; some
may have psychiatric problems. Glaucoma, retinal degeneration, and clouded corneas
may significantly impair vision. Other problems include carpal tunnel syndrome or other
nerve compression, stiff joints, claw hands and deformed feet, a short neck, and aortic
valve disease. Some affected individuals also have obstructive airway disease and sleep
apnea. Persons with Scheie syndrome can live into adulthood.
MPS I H-S, Hurler-Scheie syndrome, is less severe than Hurler syndrome. Symptoms
generally begin between ages 3 and 8. Children may have moderate mental retardation
and learning difficulties. Skeletal and systemic irregularities include short stature,
marked smallness in the jaws, progressive joint stiffness, compressed spinal cord,
clouded corneas, hearing loss, heart disease, coarse facial features, and umbilical hernia.
Respiratory problems, sleep apnea, and heart disease may develop in adolescence. Some
persons with MPS I H-S need continuous positive airway pressure during sleep to ease
breathing. Life expectancy is generally into the late teens or early twenties.
25
1 in 100,000 babies born has Hurler syndrome. The estimate for Scheie syndrome is one
in 500,000 births and for Hurler-Scheie syndrome it is one in 115,000 births.
My patient was diagnosed with MPS IS- Scheie Syndrome
2. MPS II
MPS II, Hunter syndrome or iduronate sulfatase deficiency, is caused by lack of the
enzyme iduronate sulfatase. Hunter syndrome has two clinical subtypes and (since it
shows X-linked recessive inheritance) is the only one of the mucopolysaccharidoses in
which the mother alone can pass the defective gene to a son. The incidence of Hunter
syndrome is estimated to be 1 in 100,000 to 150,000 male births.
3. MPS III
MPS III, Sanfilippo syndrome, is marked by severe neurological symptoms. These
include progressive dementia, aggressive behavior, hyperactivity, seizures,
some deafness and loss of vision, and an inability to sleep for more than a few hours at a
time. This disorder tends to have three main stages. During the first stage, early mental
and motor skill development may be somewhat delayed. Affected children show a
marked decline in learning between ages 2 and 6, followed by eventual loss of language
skills and loss of some or all hearing. Some children may never learn to speak. In the
syndrome's second stage, aggressive behavior, hyperactivity, profound dementia, and
irregular sleep may make children difficult to manage, particularly those who retain
normal physical strength. In the syndrome's last stage, children become increasingly
unsteady on their feet and most are unable to walk by age 10.
Thickened skin and mild changes in facial features, bone, and skeletal structures become
noticeable with age. Growth in height usually stops by age 10. Other problems may
include narrowing of the airway passage in the throat and enlargement of
the tonsils and adenoids, making it difficult to eat or swallow. Recurring respiratory
infections are common.
There are four distinct types of Sanfilippo syndrome, each caused by alteration of a
different enzyme needed to completely break down the heparan sulfate sugar chain. Little
clinical difference exists between these four types but symptoms appear most severe and
26
seem to progress more quickly in children with type A. The average duration of
Sanfilippo syndrome is 8 to 10 years following onset of symptoms. Most persons with
MPS III live into their teenage years, and some live longer.
Sanfilippo A is the most severe of the MPS III disorders and is caused by the missing
or altered enzyme heparan N-sulfatase. Children with Sanfilippo A have the shortest
survival rate among those with the MPS III disorders.
Sanfilippo B is caused by the missing or deficient enzyme alpha-N-
acetylglucosaminidase.
Sanfilippo C results from the missing or altered enzyme acetyl-CoAlpha-
glucosaminide acetyltransferase.
Sanfilippo D is caused by the missing or deficient enzyme N-acetylglucosamine 6-
sulfatase.
The incidence of Sanfilippo syndrome (for all four types combined) is about one in
70,000 births.
4. MPS IV
MPS IV, Morquio syndrome, is estimated to occur in 1 in 700,000 births. Its two
subtypes result from the missing or deficient enzymes galactose 6-sulfate sulfatase (Type
A) or beta-galactosidase (Type B) needed to break down the keratan sulfate sugar chain.
Clinical features are similar in both types but appear milder in Morquio Type B. Onset is
between ages 1 and 3. Neurological complications include spinal nerve and nerve root
compression resulting from extreme, progressive skeletal changes, particularly in the ribs
and chest; conductive and/or neurosensitive loss of hearing and clouded corneas.
Intelligence is normal unless hydrocephalus develops and is not treated.
Physical growth slows generally around the age of 18 months, and stops completely by
the age of 8. Skeletal abnormalities include a bell-shaped chest, a flattening or curvature
of the spine, shortened long bones, and dysplasia of the hips, knees, ankles, and wrists.
The bones that stabilize the connection between the head and neck can be malformed
(odontoid hypoplasia); in these cases, a surgical procedure called spinal cervical bone
fusion can be lifesaving. Restricted breathing, joint stiffness, and heart disease are also
common. Children with the more severe form of Morquio syndrome may not live beyond
their twenties or thirties.
27
5. MPS VI
Children with MPS VI, Maroteaux-Lamy syndrome, usually have normal intellectual
development but share many of the physical symptoms found in Hurler syndrome.
Caused by the deficient enzyme N-acetylgalactosamine 4-sulfatase, Maroteaux-Lamy
syndrome has a variable spectrum of severe symptoms. Neurological complications
include clouded corneas, deafness, thickening of the dura (the membrane that surrounds
and protects the brain and spinal cord), and pain caused by compressed or traumatized
nerves and nerve roots.
Growth is normal at first but stops suddenly around age 8. By age 10 children have
developed a shortened trunk, crouched stance, and restricted joint movement. In more
severe cases, children also develop a protruding abdomen and forward-curving spine.
Skeletal changes (particularly in the pelvic region) are progressive and limit movement.
Many children also have umbilical or inguinal hernias. Nearly all children have some
form of heart disease, usually involving valve dysfunction.
An enzyme replacement therapy was tested on patients with MPS VI and was successful
in that it improved growth and joint movement. An experiment was then carried out to
see whether an injection of the missing enzyme into the hips would help the range of
motion and pain.
6. MPS VII
MPS VII, Sly syndrome, one of the least common forms of the mucopolysaccharidoses,
is estimated to occur in fewer than one in 250,000 births. The disorder is caused by
deficiency of the enzyme beta-glucuronidase. In its rarest form, Sly syndrome causes
children to be born with hydrops fetalis, in which extreme amounts of fluid are retained
in the body. Survival is usually a few months or less. Most children with Sly syndrome
are less severely affected. Neurological symptoms may include mild to moderate mental
retardation by age 3, communicating hydrocephalus, nerve entrapment, corneal clouding,
and some loss of peripheral and night vision. Other symptoms include short stature, some
skeletal irregularities, joint stiffness and restricted movement, and umbilical and/or
inguinal hernias. Some patients may have repeated bouts of pneumonia during their first
years of life. Most children with Sly syndrome live into the teenage or young adult years.
28
7. MPS IX
The disorder results from hyaluronidase deficiency. Symptoms included nodular soft-
tissue masses located around joints, with episodes of painful swelling of the masses and
pain that ended spontaneously within 3 days. Pelvic radiography showed multiple soft-
tissue masses and some bone erosion. Other traits included mild facial changes, acquired
short stature as seen in other MPS disorders, and normal joint movement and intelligence.
Causes
Mucopolysaccharidosis (MPS) is a group of diseases that are also classified as lysosomal
storage diseases. Lysosomes are compartments in the cell that contain various enzymes that
degrade (break down) molecules. In MPS, glycosaminoglycans or mucopolysaccharides are
not degraded.
Glycosaminoglycans are polysaccharides, or long-chain sugars, that normally help the growth
of bone, skin, tendons, connective tissues, and eyes. Glycosaminoglycans are also typically
found in the fluid that surrounds joints. When they are not broken down, glycosaminoglycans
may cause progressive cellular damage.
Normally, a gene (specific region of DNA) provides the body with instructions on how to
make an enzyme. There are 11 enzymes involved in the breakdown of glycosaminoglycans.
A deficiency or absence of any one of the enzymes may cause MPS, but only seven have
been found to occur in humans. The type of MPS is classified by the enzyme that is deficient.
The most likely pattern of inheritance is autosomal recessive although some types of MPS
may be inherited as an X-linked dominant trait.
MPS I: MPS I is caused by a deficiency of the enzyme alpha-L-iduronidase.
MPS II: MPS II is caused by a deficiency of the enzyme iduronate sulfatase. This is the only
form of MPS that is X-linked dominant.
MPS III: MPS III is caused by a deficiency of an enzyme that breaks down heparan sulfate.
There are four subtypes of MPS III, and they are types A, B, C, and D. Type A affects the
enzyme heparan N-sulfatase, B affects alpha-N-acetylglucosaminidase, C affects acetyl-CoA
alpha-glucosaminide acetyltransferase, and D affects N-acetylglucosamine 6-sulfatase.
29
MPS IV: MPS IV is caused by a deficiency of an enzyme that breaks down keratin sulfate.
There are two subtypes of MPS IV. Type A affects the enzyme N-acetylgalactosamine 6-
sulfatase and type B affects beta-galactosidase.
MPS VI: MPS VI is caused by a deficiency of the enzyme N-acetylgalactosamine 4-
sulfatase.
MPS VII: MPS VII is caused by a deficiency of the enzyme beta-glucuronidase.
MPS IX: MPS IX is caused by a deficiency of the enzyme hyaluronidase.
Autosomal recessive inheritance: Most types of mucopolysaccharidosis (MPS) are
autosomal recessive disorders that are inherited at birth. MPS II or Hunter syndrome is the
only form of MPS that is X-linked dominant. In a recessive genetic disorder, a person must
inherit two copies of the genetic mutation (one copy from each parent) to develop MPS.
People who inherit a mutation from only one parent are called "carriers," and they may pass
the mutation to their children.
If only one parent has one copy of the mutated gene, then each child will have a 50% chance
of inheriting one mutated gene and also being a carrier. If both parents are carriers, each child
has a 25% chance of inheriting two mutated genes, a 50% chance of inheriting only one
mutation, and a 25% chance of inheriting neither of the mutations.
If one parent has MPS and the other parent does not carry the trait, then all of the children
will be carriers. If one parent has MPS and the other parent is a carrier, then each child has a
50% chance of having MPS or of being a carrier. If both parents have MPS, then all of their
children will also have MPS.
X-linked dominant inheritance: MPS II or Hunter syndrome is an X-linked dominant
inherited genetic condition. Normal individuals have two copies of most genes (one inherited
from the father and one from the mother). In a dominant genetic disorder, only one copy of a
certain gene needs to be defective for the condition to manifest. It has been shown that a
deficiency or mutation in the enzyme iduronate sulfatase, which is located on the X
chromosome, may cause MPS II.
Females have two copies of the X chromosome, but males have one X chromosome and one
Y chromosome. Males inherit an X chromosome from the mother and a Y chromosome from
the father, so a male can only inherit MPS II from the mother. A female needs to inherit two
30
mutant copies to develop MPS II (one from each parent), whereas a male only needs to
inherit one mutant copy to develop the condition. MPS II is more common in males that
females. Females who inherit only one mutant copy are called "carriers." Females who are
carriers may exhibit some mild symptoms.
Random occurrence: It is unknown whether MPS can occur as the result of a spontaneous
genetic mutation with no family history of the disease.
Risk Factors
Mucopolysaccharidosis (MPS) is a disorder caused by genetic errors, or mutations, in any of
the genes that produce the enzymes responsible for glycosaminoglycan degradation. Because
MPS is inherited, a family history of the disorder is the primary risk factor for MPS.
Autosomal recessive inheritance: Most types of mucopolysaccharidosis (MPS) are inherited
as autosomal recessive traits. MPS II or Hunter syndrome is the only form of MPS that is X-
linked dominant. A person must inherit two copies of the genetic mutation (one copy from
each parent) to develop a recessive form of MPS. People who inherit a mutation from only
one parent are called "carriers," and they may pass the mutation to their children.
If only one parent has one copy of the mutated gene, then each child will have a 50% chance
of inheriting one mutated gene and also being a carrier. If both parents are carriers, each child
has a 25% chance of inheriting two mutated genes, a 50% chance of inheriting only one
mutation, and a 25% chance of inheriting neither of the mutations.
If one parent has MPS and the other parent does not carry the trait, then all of the children
will be carriers. If one parent has MPS and the other parent is a carrier, then each child has a
50% chance of having MPS and a 50% chance of being a carrier. If both parents have MPS,
then all of their children will also have MPS.
X-linked dominant inheritance: MPS II or Hunter syndrome is an X-linked dominant
inherited genetic condition. Normal individuals have two copies of most genes (one inherited
from the father and one from the mother). A person needs to inherit only one copy of the
defective gene to develop a dominant disease. A deficiency or mutation in the enzyme
iduronate sulfatase, which is located on the X chromosome, may cause MPS II.
Females have two copies of the X chromosome, but males have one X chromosome and one
Y chromosome. Males inherit an X chromosome from the mother and a Y chromosome from
31
the father, so a male can only inherit MPS II from the mother. Therefore, a female needs to
inherit two mutant copies to develop MPS II (one from each parent), whereas a male only
needs to inherit one mutant copy to develop the condition. MPS II is more common in males
that females. Females who inherit only one mutant copy are called "carriers." Female carriers
may exhibit some mild symptoms.
Pathophysiology
Lysosomal malfunction occurs as a result of mutation in genes
As a result of which patient do not produce enough of one of 11 enzymes/ produce
defective enzymes
Enzymes are specialized for breaking down a complex sugar chain called
glycosoaminoglycans (formerly called mucopolysaccharides)
These complex form of Glycosomainoglycans cannot be consumed by body thus over
the time these glycosoaminoglycans collect in cells, blood and connective tissue
Results in permanent progressive cellular damage which
affects appearance, physical activities, interferes in abilities of organs and system
functioning and mental development
32
Clinical features
clinical features may have varying degree of severity. These features may not be apparent at
birth but progress as deposition of glycosoaminoglycans increases and can affect bone,
structural structure, connective tissues and organs.
According to book In my patient
Neurological complications – pain, tremors and
impaired motor function (results from compression
of nerves or nerve roots in CNS and PNS)
✓
Fine tremors present throughout limbs
Normal intellect or impaired cognitivity Impaired cognitivity
Developmental delay ✓
Severe behavioral problems X
Hearing loss (conductivity/ neurosensitivity or
both)
✓
Communicating hydrocephalus (normal absorption
of CSF is blocked)
X
Coarse Facial Features (including flat Nasal bridge,
thick lips, and enlarged mouth and tongue)
✓
Corneal clouding ✓
Degeneration of retina ✓
Decreased visual acquity ✓
Short stature with disproportionate short trunk Short stature but proportionate trunk
Dysplasia (abnormal bone size and shape or other
skeletal abnormalities)
Present scilosis present in spine with
concavity towards right side
Thickened skin X
Enlarged organs such as hepatomegaly or
spleenomegaly, hernias, excessive hair growth
X
Short and claw like hands X
Progressive joint stiffness and carpal tunnel
syndrome
X
Recurrent respiratory infections (obstructive airway
diseases)
X
Heart disease- enlarged heart valves X
33
Picture showing: skeletal abnormalities
left (scoliosis of spine with concavity towards right in lumbar region)
Right (pigeon shaped chest with pectus excavation bilateral)
Picture showing coarse facial feature flat nasal bridge, abnormal contour of head and dental
spacing
34
Diagnosis
According to book In my patient
History taking ✓
Physical examination ✓
urine tests (excess mucopolysaccharides are
excreted in the urine)
✓
Enzyme assays (testing a variety of cells or
body fluids in culture for enzyme deficiency)
X
Prenatal diagnosis
using amniocentesis and chorionic villus
sampling
X
Xrays (skeletal deformities) ✓
USG abdomen (enlarged organs) X
CT scans (head) X
MRI head
Skeletal scans/ survey
EEG
Echocardiogram
Complete blood count
Biochemistry (sodium, potassium, urea,
creatinine)
Thyroid function tests
MSE (Mental Status Examination)
Echocardiogram ✓
35
Investigations Results
Investigations Findings in my patient Normal values
Complete blood count:
TC
DC
- Polymorphs
- Lymphocytes
- Monocytes
- Eiosinophils
HB
Platelets
3800cu/mm
47
50
01
02
12.5 gm/dl
130,000cu/mm
3500-12,000 cu/mm
11.2-16.5 g/dL
150,000-400,000 cum/mm
Biochemistry
- Urea
- Creatinine
- Sodium
- Potassium
- Calcium
10 mmol/L
0.6 mmol/L
135 mEq/L
4.9 mEq/L
7.8 mEq/L
2.5–6.0 mmol/L
0.3–1.0 mmol/L
135–148 mmol/L
3.5–5.8 mmol/L
4.4–5.3 mEq/L
Thyroid function tests
- T3
- T4
- TSH
7.7
18
4.7
4.8–11.5
10–20
0.37–6.00
Bone survey
Xray hand and spine : NAD, bone age 6-8 years
Xray chest (AP and lumbar spine) : small round sclerotic changes in L1 vertebra, round,
kyphotic changes at L1, Small round sclerotic L1 vertebra with focal (developmental)
Xray wrist/ spine: appearance of epiphyseal plates of scaphoid, trapezium and trapezoid
suggesting bone age >6 years
No appearance of epiphyseal plate for distal ulnar suggesting bone age <8 years
Non appearance of epiphyseal plate for pisiform bone suggesting bone age of <11 years
therefore bone age of patient: 6-8 years
rest visible bone normal
36
MRI: normal brain structure, prominent bilateral temporal horns
EEG: Abnormal EEG consistent with temporal lobe epilepsy
Opthalmmological Examination: bilateral corneal clouding and cherry red spot on retina
ENT examination: decreased hearing on both ears
Mental Status Examination: decreased intellectuality and impaired cognivity
COMPLICATIONS
Cervical spine myelopathy
Mental retardation
Valvular dysfunction,
Hypertension,
Congestive heart failure
Sudden cardiovascular collapse and death
Sleep apnea to severe respiratory compromise and cor pulmonale.
Significant loss of visual acuity. Glaucoma and chronic papilledema
Deafness
Middle ear infections,
deformity of the ossicles, and abnormalities of the inner ear.
Short stature
Joint stiffness
Hyperlaxity
Carpal tunnel syndrome
Hip dysplasia
Severe skeletal deformities
37
Management
Currently there is no cure for these disorders. Medical care is directed at treating systemic
conditions and improving the person's quality of life. Physical therapy and daily exercise
may delay joint problems and improve the ability to move.
Changes to the diet will not prevent disease progression, but limiting milk, sugar, and dairy
products has helped some individuals experiencing excessive mucus.
Surgery to remove tonsils and adenoids may improve breathing among affected individuals
with obstructive airway disorders and sleep apnea. Sleep studies can assess airway status and
the possible need for nighttime oxygen. Some patients may require surgical insertion of an
endotrachial tube to aid breathing. Surgery can also correct hernias, help drain excessive
cerebrospinal fluid from the brain, and free nerves and nerve roots compressed by skeletal
and other abnormalities. Corneal transplants may improve vision among patients with
significant corneal clouding.
There various clinical trials for the treatment of MPS I though currently, no specific
treatment exists for MPS I. Allogeneic bone marrow transplantation is the treatment of choice
for selected MPS IH patients, but the outcomes vary widely and the procedure has associated
risks, including increased morbidity and mortality. BMT, however, has been shown to slow
or reverse some of the features of the disease.
1. Enzyme replacement therapy (ERT) are currently in use or are being tested. Enzyme
replacement therapy has proven useful in reducing non-neurological symptoms and pain.
In both human studies recombinant iduronidase (rhIDUA) was given as a weekly infusion in
a dose of 100 units per kg per week (0.58 mg/kg/week).
An open label study in 10 patients14 showed that hepatosplenomegaly decreased
significantly in all patients, and the size of the liver was normal for body weight and age in
eight patients by 26 weeks. The rate of growth in height and weight increased by a mean of
85 and 131 percent, respectively, in the six prepubertal patients. The mean maximal range of
motion of shoulder flexion and elbow extension increased significantly. The number of
episodes of apnea and hypopnea during sleep decreased by 61 percent. New York Heart
Association functional class improved by one or two classes in all patients. Urinary
38
glycosaminoglycan excretion decreased after 3 to 4 weeks of treatment; the mean reduction
was 63 percent of base-line values.
2. Haematopoetic Stem Cell Transplant
3. Bone marrow transplantation (BMT) and umbilical cord blood
transplantation (UCBT) have had limited success in treating the mucopolysaccharidoses.
4. Other trials
Aldurazyme
100U/kg/week in 100 mls normal saline <20 kgs
100U/kg/week in 250 mls normal saline >20 kgs
The dosage should be rounded up or down to the nearest complete vial to prevent wastage.
Dosages may alternate from week to week to get as close to 200U/kg/2weeks without wasting
drug.
Infusion is initially given over 4 hours. Pre-medication with antihistamines and antipyretics at
prescriber’s discretion. The length of time of infusions can be slowly reduced after the 8th
infusion to 2 hours assuming there are no infusion associated reactions.
Follow up
Patients will be reviewed every 3 - 6 months in out-patients.
Each visit:
Clinical examination and vital signs
Urine glycosaminoglycans
Other baseline investigations may need to be repeated if clinically indicated
12 months (and annually thereafter):
All baseline investigations (with the exception of routine radiology) are repeated unless there
is a clinical need to repeat them more frequently.
In My patient:
No specific treatment was done in my patient for Mucopolysaccharidoses.
However for treatment of epilepsy patient was prescribed sodium valporate 200mg BD
39
Drugs used in My Patient
Sodium valporate (encorate chrono) 200mg BD
DRUG PLAN
Sodium Valporate
It is used for all types of epilepsy alone or in combination. It increases Phenobarbital and
decreases phenobarbitone blood levels on simultaneous administration
Trade Name: Encorate Chrono
Generic Name: Valproic Acid
Group Name: Anti-convulsants
Mechanism of action
It acts by inhibiting GABA transaminase thus increasing the concentration of GABA, an
inhibitory transmitter in CNS
Indication
All form of epilepsy (grandma, focal, psychomotor) except absence seizure (petmal);
trigeminal neuralgia
Preparation
Tablet: 200mg, 400mg
syrup: 100mg/ml
Dosage
Initially 10mg/day orally, increasing slowly to 20-30mg/kg/day in divided doses
40
Adverse effect
drowsiness, diplopia, vertigo, araxia, blurred vision, GI upset, skin reaction,
lymphadenopathy, eosinophilia, splenomegaly, agarnulocytosis, aplastic anemia, edema, liver
and kidney toxicity, cholestatic jaundice
Contraindication
A-V conduction defects, history of previous bone marrow depression
Precaution
Pregnancy, lactation, imapairment of hepatic function
Nursing implication
- Tell patient that drug may cause GI distress so should take drug with food at equally spaced
intervals
- Warn patients not to stop using drug abruptly
- Encourage patient to promptly report unusual bleeding, jaundice, ddark urone, pale stools
etc.
41
42
Nursing Management
Assessment
a. History Taking: including patient’s chief complain, present health status, birth history,
family history, sign and symptoms
b. Physical Examination:
Presence of fine tremors in whole body. Decreased muscle mass and strength, progressive,
progressive deterioration of cognitivity, coarse facial features, presence of scoliosis in lumbar
region, pigeon shaped chest, dental spacing, impaired hearing, decreased visual acquity and
presence of corneal clouding
C .Investigations
Complete blood count (TC, DC, Hb, ESR), Urea, Creatinine, Xray, MRI, EEG,
Echocardiogram, MRI
Nursing Diagnosis
- Self care deficit related to inability to carryout ADLS / tremors
- Impaired physical mobility related to weakness of bones and muscles
- Risk for injury related to tremors and episodic seizure
- Diversional therapy deficient related to hospitalization
- Altered family process related to prognosis of disease
Planning / goal
the major goal is to prevent injury from seizure, encourage and assist patient on Activities Of
Daily Livings (ADLS), increase mobility and provide pshycological support to patient
Interventions
1. Self care deficit
- Assess client level to perform ADLS
- Assist client with daily activities
- Provide positive reinforcement during activity.
- Allow patient to perform tasks at his or her own rate
- Encourage independent activity as able and safe
43
2. Impaired physical mobility
-Assess client extent of mobility
- Perform passive or active assistive ROM exercises to all extremities
- Encourage appropriate use of assistive devices
-Encourage physical activities
- Assist patient on ambulation
3. Risk for injury
-Assess patient for safety
- Provide crutch or stick for support while walking and climbing stairs
-Monitor seizure activities
- Keep side rails for safety of patient
4. Diversional therapy deficient
- Assess leisure activity preferences.
-Spend more time with patient
-seek help from family to relieve boredom and stimulate interest
- provide play material appropriate to his age group
5. Altered family process
-Provide psychological support to patient’s family
-provide knowledge regarding disease process and it’s prognosis
-Respond to all queries of patient family
-encourage to express verbalize their anxiety and feelings
44
APPLICATION OF NURSING THEORY
While providing care to my patient, I applied Orem’s Theory of Nursing.
Orem’s Theory consists of
1. Theory of self care
2. Theory of self care deficit
3. Theory of Nursing System
My patient Biplav Dhital, 13years male was admitted on Medical ward
of Kanti Children’s Hospital with diagnosis of Mucopolysaccharidoses was alert and
conscious however he had difficulty carrying out his daily activities due to presence of fine
tremors throughout the body and generalized weakness, Thus, I applied Orem’s theory as it
appeared to be the best possible theory to meet my client’s need while providing nursing care.
Orem’s Theory of Nursing Care
Orem’s theory of nursing has three related theories
1. Theory of self care
2. Theory of self care deficit and
3. Theory of nursing system
Though my patient had difficulty carrying out his daily activities smoothly he however was
capable of doing it thus, I figured out theory of nursing system as most suitable theory for
caring my patient
Theory of nursing system.
It describes how the patients self care needs will be met by the nurse, patient and both
It identifies three classifications of nursing system to meet the self care requisites of the
patient
- Wholly compensatory system
- Partly compensatory system
- Supportive- educative system
Wholly compensatory nursing system is represented by a situation in which the individual is
unable to engage in self care actions requiring self directed and controlled ambulation and
manipulative movement or the medical prescription to refrain from such activities
45
Person with these limitations are socially dependent on others for their continued existence
and wellbeing. Example patient in coma
Partly compensatory nursing system represented by a situation in which both nurse and
patient perform care measures or other action involving manipulative tasks or ambulation.
Either patient or nurse may have major role in performance of self care measures. Examples a
person who recently had surgery
Supportive- educative system: in this system the person is able to perform or can and should
learn to form required measures of externally or internally oriented therapeutic self care but
cannot do so without assistance. This is also known a supportive developmental system.
In this system patient is doing all of his self care. The patient’s requirements for help are
confined to decision makings behavior control, and acquiring knowledge and skills.
The nurse’s role is to promote the patient as a self care agent. Example chronic disease
patients like hypertension
I applied partly compensatory nursing theory by
- Providing morning care
- Medication
- Maintaining personal hygiene
- Providing safe environment
And I applied supportive educative theory by
- Providing information about disease condition
- Medication
- Complication and it’s prognosis
- Home based management of disease and possible risks
- Diet
- Follow up
- Psychological support to both parent and child
46
Nursing Care Plan
Patient’s Identification
Name of Patient: Biplav Dhital
Age:13 years Sex: Male
Cast: Brahmin Religion: Hindu
Ward: Medical Bed No:343
IP No: 85169
Date Of Admission: 2070/4/11
Medical Diagnosis: Mucopolysaccharidoses
Assessment
My patient Biplav Dhital, 13years male was admitted on Medical ward of Kanti
Children’s Hospital with diagnosis of Mucopolysaccharidoses with chief complain of
generalized weakness since 1 year, progressive deterioration of school performance,
involuntary body movement for 1 and half hour 10 days prior to day of admission
Patient had history of involuntary body movement 1 episode for one and half an hour
followed by uprolling of eyes with deviation of mouth, drolling from mouth, stiffening
of body and titanic spasms of hands with epileptic features
patient was apparently well one year back, when he develop viral fever for 1 week and
was treated with amoxicillin 250mg and cetamol for one week
After this episode of fever patient’s general condition started to deteriorate with visible
symptoms.
Nursing Diagnosis
- Self care deficit related to inability to carryout ADLS / tremors
- Impaired physical mobility related to weakness of bones and muscles
- Risk for injury related to tremors and episodic seizure
- Diversional therapy deficient related to hospitalization
- Altered family process related to prognosis of disease
47
S.N Date Assessment Nursing Diagnosis Nursing goal Intervention Rationale Evaluation
1. 4/13 Subjective data
―his body trebles
all the time so
his sister helps
him to hid
works‖
Objective data
Fine tremors all
over the body,
uncoordinated
and exaggerated
reflexes
Self care deficit
related to inability
to carryout ADLS /
tremors
-Assist patient
on Activities Of
Daily Livings
(ADLS)
-Assess client level to
perform ADLS
- Assist client with
daily activities
- Provide positive
reinforcement during
activity.
- Allow patient to
perform tasks at his or
her own rate
- Encourage
independent activity as
able and safe
-To obtain baseline
data and evaluate
patient’s ability
-To maintain hygiene
and promote comfort
- To encourage client
and build positive
attitude
- To maintain clients’
esteem
-To promote client’s
ability
Goal met
patient was
assisted on
ADLs and
encouraged to
carry out
activities
independently
48
2 4/15 Subjective data
―he cannot walk
alone, he falls
whenever tries
walking alone‖
Objective data
Has difficulty
walking and
doesn’t walk
alone
Impaired physical
mobility related to
weakness of bones
and muscles
Increase
mobility within
ward by one
hour
-Assess client extent of
mobility
- Perform passive or
active assistive ROM
exercises to all
extremities
- Encourage
appropriate use of
assistive devices
-Encourage physical
activities
- Assist patient on
ambulation
-To obtain baseline
data to evaluate
condition of client
-To prevent from
atrophy of muscles
and prevent further
complications
-promotes ambulation
of patient
-Prevent
complications caused
by decreased physical
activities like
constipation
-To encourage and
promote physical
activities
Goal met
patient was
mobilized and
was
encouraged to
do physical
activities
whenever
possible.
49
3 4/15 Subjective data
he cannot walk
alone, he falls
whenever tries
walking alone‖
Objective data
Has difficulty
walking and
doesn’t walk
alone
Risk for injury
related to tremors
and episodic
seizure
Prevent from
fall injuries
during hospital
stay i.e 7days
- Assess patient for
safety
- Provide crutch or
stick for support while
walking and climbing
stairs
-Monitor seizure
activities
- Keep side rails for
safety of patient
-To obtain baseline
data and evaluate
patients condition
- It provides support
while walking
-To prevent possible
injuries caused by
seizure
My goal was
met as patient
remained free
from injuries
during his
hospital stay
4 4/13-
4-21
Subjective data
―I feel bore
lying down in bd
all day‖
Objective data
Spent most of
his time sleeping
Diversional therapy
deficient related to
hospitalization
Patient will
express his
interest in using
leisure time
meaningfully
-Assess leisure activity
preferences.
-Spend more time with
patient
-seek help from family
to relieve boredom and
stimulate interest
- provide play material
appropriate to his age
-to figure out patient’s
likes and dislikes
- to accompany him
and relieve boredom
-to engage him in
different mind
diverting activities
-to promote mental
development of child
Goal was met
Patient
showed so
sign of anxiety
and boredom
during his
hospital stay
50
group as per his
developmental need
5. 4/16 Subjective data
―he is my only
son, I wish he
would be fine
again‖
Objective data
Patient’s father
looked anxious
and sad
Altered family
process related to
prognosis of
disease
Reduce anxiety
and help family
cope with the
disease process
-Provide psychological
support to family
-provide knowledge
regarding disease
process and it’s
prognosis
-Respond to all queries
of patient family
-encourage to express
verbalize their anxiety
and feelings
-to reduce anxiety and
cope with the disease
process effectively
Goal was not
meet as the
patient was
diagnosed
with a genetic
disorder with
permanent
progressive
damage to
body system
51
Diversional Therapy
Hospitalization is one of the most stressful situations in childhood thus I used play therapy in
my patient as diversional therapy
Play is an integral part of a child’s life. From birth play helps children to learn, to relate to
others and to have fun. Play can enhance a children’s development physically, emotionally,
intellectually and linguistically. When children or adolescents are admitted to hospital they
are at their most vulnerable. They are not only unwell, but they are also separated from their
friends, family and familiar surroundings which may lead to increased stress.
Play therapy helps by following ways:
enhance the children’s understanding of their treatment and illness;
serve as a diversion to keep a child’s mind off pain and medical procedures;
assist healing and rehabilitation;
help children regain confidence and self esteem
allow children to participate in familiar activities that they would normally engage in
at home, kindergarten or school;
reassure the child that his/her body is still functioning
so in my patient as a play therapy I gifted a ludo and taught him how to play it despite that I
also asked his parents to buy him a book so that he could read it in his leisure time.
52
PROGRESS REPORT
When I first visited my case it was his second day of admission. He was admitted in
medical ward on 2070/4/11
Date Day Progress report Remarks
2070/4/13 2nd day of
admission
Vitals:
T-98ºf
p-80/m
R-26/m
Patient was well oriented to time,
place and person
Patient is in normal diet
Blood investigation sent (calcium)
2070/4/14 3rd day of
admission
Vitals:
T-96ºf
p-80/m
R-22/m
Patient was well oriented to time,
place and person
Patient is in normal diet
chest xray, spine and wrist xray
done to find out any skeletal
deformities
Serum Calcium report collected
Scilosis seen in
spine xray at L1
2070/4/15 4th day of
admission
Vitals:
T-99.2ºf
p-86/m
R-26/m
Patient went for othalmological
consultation
2070/4/16 5th day of
admission
Vitals:
T-98.6ºf
p-84/m
R-24/m
Patient went for ENT consultation
53
and follow up on eye consultation
2070/4/17 6th day of
admission
Vitals:
T-101ºf
p-88/m
R-26/m
Skeletal survey done
Time taken for MRI and EEG
2070/4/18 7th day of
admission
Vitals:
T-97.2ºf
p-86/m
R-20/m
EEG done
2070/4/19 8th day of
admission
Vitals:
T-97.4ºf
p-84/m
R-28/m
MRI done
2070/4/20 10th day of
admission
Vitals:
T-97.6ºf
p-84/m
R-24/m
EEG report collected (temporal
lobe epilepsy seen)
Sodium valporate 200 mg tablet
BD started
Urine sample sent for GAG
(glycosoaminoglycans test)
Echocardiography done
2070/4/21 Day of
discharge
Vitals:
T-96.8ºf
p-78/m
R-20/m
MRI report collected
Diagnosis confirmed
54
DISCHARGE TEACHING
My patient was diagnosed with genetic disorder which has no specific treatment and
its damage is permanent and progressive, however he also had an episode of epileptic
seizure which was later confirmed by EEG report as temporal lobe epilepsy. At the
time of discharge I gave discharge teaching to patient’s father focusing on
Follow up:
Patient was called on follow up to evaluate his neurological impairment at Neuro
OPD. I asked patient’s father to bring patient regularly on follow up at exact time
given by doctor
Safety:
As he was having continuous tremors and episodic seizure I advised visitor to take
good care of patient and never leave him alone if possible and make sure he is safe
when he has seizure episode. I also advised visitor to try not to wake patient up while
he is having seizure and bring him to hospital as soon as possible following seizure.
Diet:
I advised patient to eat balanced meal with adequately supplemented by
carbohydrates, vitamins, proteins and minerals. I encouraged to use locally available
and homemade dishes as much as possible
Medication:
I advised patient to keep compliance with medication and take medication regularly,
don’t quit medication without consulting doctor.
Take medication with food to decrease gastric upset
Sodium valporate 200 mg BD
55
Prognosis
The symptoms of Scheie syndrome (MPS IS) include joint stiffness, aortic valve disease,
mild hepatosplenomegaly, and corneal clouding. Scheie patients have little or no neurological
involvement, are usually of normal stature and can have a normal life span although most
have increasing physical disability and many will die in middle age predominantly of cardiac
disease though a number many develop fatal cervical cord compression. The onset of
symptoms is usually after five years, with a diagnosis between 10 and 20 years.
56
LESSON LEARNT
My patient Biplav Dhital, 13years male was admitted on Medical ward of Kanti
Children’s Hospital with diagnosis of Mucopolysaccharidoses on 2070/4/11 with chief
complain of generalized weakness since 1 year, progressive deterioration of school
performance, involuntary body movement for 1 and half hour 10 days prior to day
of admission
Patient had history of involuntary body movement 1 episode for one and half an hour
followed by uprolling of eyes with deviation of mouth, drolling from mouth, stiffening
of body and titanic spasms of hands with epileptic features
patient was apparently well one year back, when he develop viral fever for 1 week and
was treated with amoxicillin 250mg and cetamol for one week
After this episode of fever patient’s general condition started to deteriorate with visible
symptoms.
When I first came contact with the patient his diagnosis was still a query and it
followed various series of investigations as his features were quite distracting from
mainstream features of mucopolysaccharidoses though many features matched still
there were distinct features which didn’t match it’s criteria
During this course I got opportunity study a very rare genentic disease it’s various
types, clinical features and I got opportunity to compare it with my patient which
broadened my knowledge regarding this disease condition.
His physical features were distinct and because of which I gained keen interest on
going through this disease process thoroughly
Beside medical and pathological knowledge I also learnt to provide nursing care
based on a nursing theory to my patient, I got opportunity to use my theoretical
knowledge in pratical setting
57
SUMMARY
During my clinical practicum for child health nursing at Kanti Children’s Hospital
Maharajgunj, as per our curriculum I did a case study on 13 years male boy with diagnosis of
mucopolysaccharidoses in medical ward on 2070/4/11 with chief complain of generalized
weakness since 1 year, progressive deterioration of school performance, involuntary body
movement for 1 and half hour 10 days prior to day of admission As his diagnosis was on
query following investigations was done Complete blood count including TC, DC, Hb,
platelets, urea,cretinie, calcium, Xrays, bone survey, Urine for GAG, EEG, Echocardiography
During this case study I got opportunity to gain through knowledge regarding disease process
and apply nursing theory to provide comprehensive and holistic nursing care to the patient.
I got opportunity to gain knowledge regarding the growth and development of adolescent
I did a physical assessment of patient, assessed client’s condition and find out his need.
I provided different formal and informal education to client and family during the hospital
stay regarding personal hygiene, diet.
As my patient was diagnosed with a genetic disorder I also provided psychological support to
client and family and at the time of discharge I provided discharge teaching on follow up,
medication, client’s safety measure, diet and home based management of disease. He was
discharged from hospital once diagnosis was confirmed after 11 days stay on 2070/4/21.
58
References
Behrman R, Klieman R, Nelson’s Essential’s of Pediatrics, 6th
edition, Saunders
Hockenberry J Marilyn, Wilson D, wong’s nursing care of infants and children. 8th
edition, 2009,
Elsevier
Tuitui R, Pocket books of dugs, 4th
eedition,2008, Makali Publication
http://en.wikipedia.org/wiki/Lysosomal_storage_disease
http://emedicine.medscape.com/article/1182830-overview#aw2aab6b6
https://igm.jhmi.edu/personal/lysosomal-storage-diseases
http://www.ncbi.nlm.nih.gov/books/NBK6177/
http://www.usask.ca/cme/articles/telehealth/LSD%20Booklet.pdf
http://www.merckmanuals.com/professional/pediatrics/inherited_disorders_of_metabolism/lysosomal
_storage_disorders.html
http://en.wikipedia.org/wiki/Mucopolysaccharidosis
http://ghr.nlm.nih.gov/condition/mucopolysaccharidosis-type-i
http://emedicine.medscape.com/article/1258678-overview

Case Study on Mucopolysaccharidosis

  • 1.
    1 OBJECTIVES The main objectiveof this case study is enabling students to develop knowledge regarding the normal growth and development of children, identify different diseases in a specific age group, gain skill and practice in providing nursing care, provide advices, health teaching to patient and family for management of the disease. During this process I got opportunities to learn about disease condition, its complications and complication that arise due to the disease. General Objectives: To obtain detail birth and medical/ pediatric history of patient Describe process of growth and development of children from birth to adolescence Explain the neonatal assessment and different level of care and strategies Discuss common childhood disease/ problems related to various systems, etiology, pathophysiology of diseases, diagnostic tests, treatment and nursing care To perform physical assessment of the child To learn about the disease process and it’s prevalence To provide advices, health teaching to patient and family for management of the disease, medications and complications Apply nursing process for caring the child with disease To identify minor and major discomfort and advice relieving and coping mechanisms To apply nursing process to care the client To identify the different modern technologies to treat the disease and overcome the problems regarding childhood health and educate them and their family about child health
  • 2.
  • 3.
    3 PATIENT’s HISTORY A. DemographicData Date of interview:2070/4/15 Name of Patient: Biplav Dhital Age:13 years Sex: Male Cast: Brahmin Religion: Hindu Ward: Medical Bed No:343 IP No: 85169 Address: Permanent: Gorkha Ph. No: Temporary: Lazimpat Information obtained from client : Bed Prasad Dhital (father) Date Of Admission: 2070/4/11 Medical Diagnosis: Mucopolysaccharidoses B. Chief Presenting Complaints Generalized weakness X 1year Progressive deterioration of school performance since 1 year Involuntary body movement for 1 and half hour 10 days prior to day of admission Child was asymptomatic 1 years back C. History Of Present Illness Patient developed progressive generalized weakness with easy fatigability with his history of shortness of breath upon exertion and while climbing upstairs, history of progressive deterioration of school performance since 1 year with history of fine tremors of all limbs because of which patient was unable to carry out daily activities smoothly.
  • 4.
    4 D. Past History: Patienthistory of involuntary body movement 1 episode for one and half an hour followed by uprolling of eyes with deviation of mouth, drolling from mouth, stiffening of body and titanic spasms of hands with epileptic features patient was apparently well one year back, when he develop viral fever for 1 week and was treated with amoxicillin 250mg and cetamol for one week After this episode of fever patient’s general condition started to deteriorate with visible symptoms 1. Birth history (Prenatal, Natal and Postnatal History) Gravida/ Para: G3P3 Tetanus toxoid: taken two doses TT Medication during pregnancy: was under continuous iron and calcium supplementation Duration of labour: 12 hour Types of delivery: Vaccum delivery Place of delivery: Instituitional delivery Gestational age at birth: full term Apprx. 3kg birth weight Condition of baby at birth: didn’t cry immediately after birth, cried almost after 1 hour Admitted in NICU for 4 days for late cry Any complication of birth: Prolonged second stage Contraception use of mother: DPO 2. Nutritional history Duration of breastfeeding : complete six month Age of weaning: at beginning of 7 month Food intake in a day: 4-5 times per day Dietary pattern before the present illness balanced meal comprising all sources of nutrients carbohydrates, proteins, vitamins and minerals (i.e rice, cereals, meats, milk and milk products, vegetables and fruits)
  • 5.
    5 3. Previous Illness Illness/Disease Remarks Malnutrition X Tuberculosis X Whooping cough X Diptheria X Measles X Mumps X Polio X Rheumatic fever X Diarrhea X Injuries/ Accidents X Hospitalization (reason) 4 days hospitalization after birth for delayed crying Operation/ any special treatments (e.g blood transfusion) No any 4. Allergies Environment/Food/ Drug/ Others: not present 5. Immunization Name of vaccine At what age Remarks BCG At birth DPT/Hib/HB-1 Approx at 2 months DPT/Hib/HB-2 Approx at 4 months DPT/Hib/HB-3 Approx at 6 months Polio-1 Approx at 2 months Polio-2 Approx at 4 months Polio-3 Approx at 6 months Measles Approx at 9 months JE - Others -
  • 6.
    6 6. Developmental History(milestones): at what age Neck holding: 6 months Roll over: 1 year Crawl: One and half year Sit: one and half year Stand: 2 years Walk: 2 and half years Monosyllable: 13 months Bisyllable: One and half years Two words with meaning: 3 years Feeding: after 7 months 7. Habits Sleeping habit: 10- 12 hours per day Play interest: was play full a year back but due to weakness and deteriorating physical condition plays indoor games Bowel/ bladder habit: regular, no history of constipation and diarrhea Special problems: cannot concentrate for long time and progressively deteriorating physical and mental capabilities Coping behavior: not specific Relation with parents/ peers/ friends: has harmonious relationship with siblings, peers and family members Recent family changes: not any 8. Home Environment Water: spring Waste disposal: dumping Latrine: water seal House: two stored concrete (cement and brick), separate kitchen
  • 7.
    7 E. family History S.NNo. of children Age Health Status 1. Biplav Dhital 13 years Ill 2. Sarita Dhital 11 years Healthy 3. Renu Dhital 8 years Healthy Mother’s family High blood pressure: not any Diabetes: not any Cancer: not any Blood disorder: not any Cardiovascular problems: not any Arthritis/ Gout: not any Asthma: not any Tuberculosis: not any Others: X Father’s family High blood pressure: not any Diabetes: not any Cancer: grandfather (blood cancer) Blood disorder: grandfather (blood cancer) Cardiovascular problems: not any Arthritis/ Gout: not any Asthma: not any Tuberculosis: not any Others: X
  • 8.
    8 Family Tree 62years 56yrs 55yrs60yrs (blood cancer) 42 yrs 40yrs 39yrs 37yrs 33yrs 30yrs 28yrs 40yrs 38yrs 36yrs 31yrs 29 13yrs 11yrs 8yrs Ill Healthy Healthy Key: Alive healthy male Alive healthy female Patient P P
  • 9.
    9 Physical Examination Physical Examination (ObjectiveData) Yes No Findings/ Comments 1. Vital Sign: Temperature: Pulse: Respiration: Rate: Rhythm: Regularity: Blood Pressure: ✓ Vital Sign: Temperature:98ºf Pulse:88/m Respiration:20/m Rate: normal Rhythm: rhythmic Regularity: regular Blood Pressure:- 2. Anthropometric Measurement Height / Length: Weight: Height / Length: 127cm Weight: 23kg 3.General Appearance Alertness/Drowsiness Consciousness: Irritability: Hygiene: Posture/ Gait: ✓ ✓ ✓ ✓ ✓ General Appearance: Alert Conscious Not irritable Hygiene maintained Posture abnormal (tilted, head and hands facing outside) 4. Lymph Nodes Examination -Pre-auricle: -Post-auricle: -Sub-mandible: -Sub-clavicle: -Cervical: -Auxiliary: -Inguinal: ✓ Red/ Enlargement/ Tenderness No any lymph node redness, enlargement or tenderness 4. Head Hair -Color and texture: -Hygiene: - Black color, smooth texture - Hair hygiene not maintained
  • 10.
    10 Head -Shape/Size of thehead: -Symmetry: -Posture: -Skull sutures: -Fontanel: -Swelling/ Injury: -Tenderness: -Headache: - Long, abnormal, two prominent bilateral temporal horn present - Symmetrical - Straight - Normal - Closed - No any - No any - No any 5. Face -Symmetry/ Movement: -Swelling: -Palsy: -Sinuses: - Symmetrical and normal facial movements - No swelling - Not seen - No pain and tenderness in sinus 6. Eyes -Discharge -Size and Symmetry -Color of sclera -Conjunctiva -Lids -Inter-papillary distance -Epi-canthal folds -Lacrimal punctum -Cornea (color) *Opacities *Ulceration -Pupils -Lens: -Vision: ✓ ✓ ✓ ✓ - No discharge seen - Symmetrical - Transparent - Pink in color - Normal - large i.e more than 2.5cm (4cm) - Normal - Observed normal, no sign of blockage or inflammation - Transparent Corneal clouding present Absent - Normal papillary reaction - No opacities, normal - Decreased visual acquity No abnormalities seen like entropion, ptosis
  • 11.
    11 7. Ears -Pinna (Shape/Size/Location) -Skinaround ear -Wax -Tympanic membranes *Color *Tenderness -Hearing defect ✓ ✓ ✓ Normally located No extra growths, normal Present but not in excessive amount Healthy, no ulceration and inflammation observed Slight yellowish Absent Present 8.Nose: -Structure -Placement/alignment -Nasal flaring -Mucosa -Septum *Polyps/ Swelling -Discharge ✓ ✓ flat Centrally located, no deviations, normal shape and size Uniform in size Pink Normal, no deviation Absent Absent 9. Mouth and Throat Sore on lips Color/ cracks/ ulceration Oral cavity Mucus membrane color Gum-bleeding/ ulceration/ swelling Missing teeth Dental caries Tongue Odor from mouth Difficulty in swallowing Tonsils ✓ ✓ ✓ ✓ ✓ ✓ ✓ Absent Pink color, no cracks and ulceration seen Oral mucus membrane pink, no sores and ulceration Absent Absent Pink in color, no sign of anemia Absent Absent Pink, small, no sign of inflammation 10.Neck Size/Shape Normal size and shape, centrally located xiphoid process, no mass and scars present
  • 12.
    12 Movements Thyroid Gland Shape/size/position Visible/not visible Palpable/notpalpable ✓ ✓ ✓ Smooth range of motion, no rigidity and stiffening, no tenderness Normal size and shape Not visible Not palpable 11.Chest Size and shape Symmetry Movement Rib cage- number Intercostals space- tenderness/swelling Sternum- location Costal angle Nipples- position Pain Auscultation Percussion Pigeon shaped chest , centrally located xiphoid process, no mass and scars present AP: 17inch and lateral 22 inch Smooth range of motion, no rigidity and stiffening, no tenderness 12 on each side (24 total) Absent Central Symmetrical, tilted downward and laterally In midclavicular line Absent Normal size and shape No abnormal breath sound present Deep resonant sound 12. Lungs Apex Respiratory movements Dyspnea Breath sound Grunting Chest pain Cough/ sputum Wheeze ✓ ✓ Normal breathe sound heard, located on 2nd intercostals space Normal Absent Adventitious breathe sound absent Absent Absent Absent Absent
  • 13.
    13 13. Heart Inspection Neck vein-distended/ not distended Clubbing of fingers-yes/no Cyanosis, central, peripheral Edema Palpation Apical pulse Capillary Refill Auscultation Heart sounds ✓ ✓ ✓ ✓ Jugular vein not distended Absent Absent Absent Regular, rhythmic Normal i.e.<3sec No abnormal heart sound heard 14. Abdomen Inspection Skin Shape/ size: Abdomen- distended/ascites/protruding Umbilicus- herniation/ discharge/ hygiene and fistula Auscultation Bowel sound: Present/ absent Percussion: Dullness or flat Palpation Pain/ tenderness/ masses Liver-palpable/ not palpable spleen-palpable/ not palpable kidney-pain/ tender ✓ ✓ ✓ ✓ ✓ ✓ No signs of dehydration, smooth, no striae, lesions of incision mark seen Round and normal, no sign of distention, herniation, no dilated veins seen Normal and present i.e gurgling and clicks Normal sound heard (tympanic) Percussion performed in four regions around abdomen Pain, tenderness and masses absent Liver not palpable Spleen not palpable Not tender 15.Genitalia Male genitalia External appearance of penis, urethral and scrotum, prepuce size/ ✓ Normal in appearance, normal size no hypospodias present, prepuce size normal
  • 14.
    14 discharge Pain of swellingin the scrotum Anus Anal opening Irritation Crack Fissures Enlarged vessels/ hemorrhoids Pain/ tenderness ✓ ✓ ✓ ✓ ✓ ✓ ✓ Absent Present and normal Absent Absent Absent Absent Absent 16. posture Body movements Peripheral sensation Skin sensation to warm/cold ✓ ✓ ✓ Abnormal body movements present like seizure, convulsions and tremors Intact Normal sensation 17. Reflexes Planter/ knee jerk/biceps/triceps reflex ✓ Exaggerated reflexes 18.Musculoskeletal: Extremities Symmetry of length Size/shape Number of finger and toes Color Tenderness Pain Muscle/tone and strength Joint: Swelling/movement/tenderness/pain ✓ ✓ ✓ All extremities are proportionate and symmetrical Normal 10 fingers and 10 toes pink Absent Absent Poor muscle tone and strength Absent
  • 15.
    15 Summary of findings Iperformed head to toe physical examination of Biplav Dhital, 13 years male diagnosed with Mucopolysaccharidoses admitted on 2070/4/11 in medical ward. The findings obtained during this procedure are listed below Vital Signs: Temperature: 98ºf Pulse: 88/m Respiration:20/m Anthropoemetric measurement: Height: 127cm Weight: 23 cm Abnormal findings: Patient was alert and conscious at the time of physical examination. Patient’s general condition was good Patient’s personal hygiene was well maintained Patients was well hydrated Absence of edema General appearance: - Coarse facial appearance - Flat nasal bridge - Pallor negative, cyanosis negative - Large intracanthal distance (4.5cm) - Dental spacing in all teeths Prominent bilateral temporal horns, abnormal contour of head Decreased visual acquity of both eye No appearance of secondary sexual characteristics Decreased muscle mass in limbs Decreased strength Exaggerated reflexes Pigeon shaped chest with pectus excavation bilateral No abnormal heart sounds present Scioliosis present with concavity towards Right side Lesion in right side of back due to fall Corneal clouding on both eye
  • 16.
    16 Developmental tasks As mypatient is of age 13 years he falls under group adolescents and has following developmental tasks According to book In my patient Adjust to sexually maturing bodies and feelings Develop and apply abstract thinking skills Develop and apply new perspective on human relationships Develop and apply new coping skills in areas such as decision making, problem solving, and conflict resolution Identify meaningful moral standards, values, and belief systems Understand and express more complex emotional experiences Form friendships that are mutually close and supportive Establish key aspects of identity Meet the demands of increasingly mature roles and responsibilities Renegotiate relationships with adults in parenting roles He hasn’t achieved this goal due to developmental in development of secondary sexual characteristics He hasn’t achieved it as a result of progressive degradation of intellectuality He hasn’t achieved this goal as a lack of abstract thinking and perspectives He has achieved this goal but in minimal level as his decision making capacity is not yet evolved however he’s capable of solving very few of his problems He hasn’t achieved this goal as this development is lagging and is as equal as of a school age children He hasn’t achieved this tasks either He has achieved this goal as his father mentioned he has developed this sorts of relation with his friends He hasn’t achieved this goal He hasn’t achieved this goal as he’s growth is retrograded at school age He is still dependent on his parents and hasn’t seek independence thus hasn’t renegotiate his relationship
  • 17.
  • 18.
    18 Anatomy Lysosomes Lysosomes are membrane-enclosedorganelles that contain an array of enzymes capable of breaking down all types of biological polymers—proteins, nucleic acids, carbohydrates, and lipids. Lysosomes function as the digestive system of the cell, serving both to degrade material taken up from outside the cell and to digest obsolete components of the cell itself. Lysosomes are cellular organelles that contain acid hydrolase enzymes that break down waste materials and cellular debris. They can be described as the stomach of the cell. Lysosomes contain about 50 different degradative enzymes that can hydrolyze proteins, DNA, RNA, polysaccharides, and lipids. Mutations in the genes that encode these enzymes are responsible for more than 30 different human genetic diseases, which are called lysosomal storage diseases because undegraded material accumulates within the lysosomes of affected individuals. Most of these diseases result from deficiencies in single lysosomal enzymes. Function of lysosomes There are two major functions of lysosomes and they are phagocytosis and autophagy In phagocytosis, specialized cells, such as macrophages, take up and degrade large particles, including bacteria, cell debris, and aged cells that need to be eliminated from the body. Such
  • 19.
    19 large particles aretaken up in phagocytic vacuoles (phagosomes), which then fuse with lysosomes, resulting in digestion of their contents. Lysosomes are also responsible for autophagy, the gradual turnover of the cell’s own components. The first step of autophagy appears to be the enclosure of an organelle (e.g., a mitochondrion) in membrane derived from the endoplasmic recticulum (ER). The resulting vesicle (an autophagosome) then fuses with a lysosome, and its contents are digested Introduction Lysosomal storage disorders Lysosomal storage diseases are a group of approximately 50 rare inherited metabolic disorders that result from defects in lysosomal function. Lysosomal storage are genetic diseases caused by specific enzyme deficiencies that result in the buildup of undegraded substance inside cell organelles called lysosomes. Lysosomes function as recycling units of each cell which harbor specific enzymes that breakdown several substances, including proteins, sugars and lipids into simple products that the cell then utilizes to build renewal these substances. Each of these lysosomal enzymes has specific substances that they are capable of degrading. Lysosomal enzymes break down macromolecules, either those from the cell itself (eg, when cellular structural components are being recycled) or those acquired outside the cell. Inherited defects or deficiencies of lysosomal enzymes (or other lysosomal components) can result in accumulation of undegraded metabolites. Therefore, LSDs manifest as systemic diseases in patients with multiple and progressive neurological, renal, cardiovascular, gastro-intestinal, musculo- skeletal, ophthalmological, cutaneous and respiratory problems. This ultimately results in the impairment of lysosomal function and consequently cell function in multiple organs and systems.
  • 20.
    20 Almost 60 LSDhave been described known lysosomal storage diseases. Some common LSD include: Fabry disease – known as X-linked genetic disease but affect both male and females with kidney, heart and pulmonary problems, chronic pain and s typical skin sign Gaucher disease – progressive LSD causing enlargement of spleen, liver and bone lesions. Some forms affect also the brain causing sever neurological problems Mucopolysaccharidosis (I-VII) – result from accumulation of mucopolysaccharides in causing progressive damage multiple organs and systems including heart, bones, joints, eyes, respiratory system and central nervous system. While the disease may not be apparent at birth, signs and symptoms develop with age as more cells become damaged by the accumulation of cell materials
  • 21.
    21 Niemann-Pick C disease– results in progressive neurological condition along with enlargement of the spleen and liver, as well as lung disease Pompe disease - an often fatal is presented in infancy with storage disease in which glycogen builds up mainly in the heart, initially also known as acid maltase deficiency. If it manifests in childhood and adulthood, Pompe can cause progressive shoulder, hips and respiratory muscles Metachromatic leukodystrophy and Krabbe disease – devastating LSD that result in progressive and neurodegerative diseases. When presented in adulthodd are associated with neuropathies and psychiatric problems. Tay-Sachs disease - a LSD causing severe and progressive causing degeneration of the brain in infants and nerve (pain and tactile sensation problems) and psychiatric problems in adolescence and adults. Incidence The LSD are genetic disorders are rare. LSD incidence has shown recently to be 1/2,000- 3,000 live-births. Because there are numerous specific deficiencies, storage diseases are usually grouped biochemically by the accumulated metabolite. Subgroups include Mucopolysaccharidoses Sphingolipidoses (lipidoses) Mucolipidoses The most important are the mucopolysaccharidoses and sphingolipidoses.
  • 22.
    22 MUCOPOLYSARCIODOSES Introduction Mucopolysaccharidoses are groupof metabolic disorders caused by the absence or malfunctioning of lysosomal enzymes needed to breakdown molecules called glycosaminoglycans- long chains of sugar carbohydrates in each of our cells that help build bone, cartilage, tendons, corneas, skin and connective tissues. Glycosaminoglycans (formerly called mucopolysaccharidoses) are also found in the synovial fluid. People with a mucopolysaccharidoses disease either do not produce enough of one of the 11 enzymes required to break down sugar chain or they produce defective enzymes. Over time, these glycosaminoglycans collect in the cells, blood and connective tissues. The result is permanent, progressive cellular damage which affects appearance, physical abilities, organ and system functioning, and, in most cases, mental development. The mucopolysaccharidoses are part of the lysosomal storage disease family, a group of more than 40 genetic disorders that result when a specific organelle in our bodies' cells – the lysosome – malfunctions. The lysosome is commonly referred to as the cell’s recycling center because it processes unwanted material into substances that the cell can utilize. Lysosomes break down this unwanted matter via enzymes, highly specialized proteins essential for survival. Lysosomal disorders like mucopolysaccharidoses are triggered when a particular enzyme exists in too small an amount or is missing Types There are seven clinical types and subtypes of mucopolysaccharidoses depending on the type of enzymes deficient S.N Types Deficient enzymes Accumulated products 1 MPS I MPS IH-Hurler Syndrome MPS IH/S- Hurler Scheie Syndrome MPS IS- Scheie Syndrome α-L-iduronidase Heparan sulfate Dermatan sulfate 2 MPS II – Hunters Syndrome Iduronate sulfatase Heparan sulfate
  • 23.
    23 3 MPS III MPSIIIA- Sanfilippo syndrome A MPS IIIB- Sanfilippo syndrome B MPS IIIC- Sanfilippo syndrome C MPS IIID- Sanfilippo syndrome D Heparan sulfamidase N-acetylglucosaminidase Heparan-α-glucosaminide N-acetyltransferase N-acetylglucosamine 6- sulfatase Heparan sulfate 4 MPS IV MPS IVA-Morquino Syndrome A MPSIVB- Morquino Syndrome B Galactose-6-sulfate sulfatase β-galactosidase Keratan sulfate Chondroitin 6-sulfate Keratan sulfate 5 MPS IS- Scheie Syndrome 6 MPS VI - Maroteaux-Lamy Syndrome N-acetylglucosamine 4- sulfatase Dermatan sulfate 7 MPS VII- Sly Syndrome β-glucronidase Heparan sulfate Dermatan sulfate Chondroitin 4,6- sulfate 9 MPSIX-Natowicz Syndrome Hyaluronidase Hyaluronic acid 1. MPS I MPS I is divided into three subtypes based on severity of symptoms. All three types result from an absence of, or insufficient levels of, the enzyme alpha-L-iduronidase. Children born to an MPS I parent carry the defective gene. MPS I H (also called Hurler syndrome or α-L-iduronidase deficiency), is the most severe of the MPS I subtypes. Developmental delay is evident by the end of the first year,
  • 24.
    24 and patients usuallystop developing between ages 2 and 4. This is followed by progressive mental decline and loss of physical skills. Language may be limited due to hearing loss and an enlarged tongue. In time, the clear layers of the cornea become clouded and retinas may begin to degenerate. Carpal tunnel syndrome (or similar compression of nerves elsewhere in the body) and restricted joint movement are common. Affected children may be quite large at birth and appear normal but may have inguinal (in the groin) or umbilical (where the umbilical cord passes through the abdomen) hernias. Growth in height may be faster than normal but begins to slow before the end of the first year and often ends around age 3. Many children develop a short body trunk and a maximum stature of less than 4 feet. Distinct facial features (including flat face, depressed nasal bridge, and bulging forehead) become more evident in the second year. By age 2, the ribs have widened and are oar-shaped. The liver, spleen, and heart are often enlarged. Children may experience noisy breathing and recurring upper respiratory tract and ear infections. Feeding may be difficult for some children, and many experience periodic bowel problems. Children with Hurler syndrome often dies before age 10 from obstructive airway disease, respiratory infections, and cardiac complications. MPS I S, Scheie syndrome, is the mildest form of MPS I. Symptoms generally begin to appear after age 5, with diagnosis most commonly made after age 10. Children with Scheie syndrome have normal intelligence or may have mild learning disabilities; some may have psychiatric problems. Glaucoma, retinal degeneration, and clouded corneas may significantly impair vision. Other problems include carpal tunnel syndrome or other nerve compression, stiff joints, claw hands and deformed feet, a short neck, and aortic valve disease. Some affected individuals also have obstructive airway disease and sleep apnea. Persons with Scheie syndrome can live into adulthood. MPS I H-S, Hurler-Scheie syndrome, is less severe than Hurler syndrome. Symptoms generally begin between ages 3 and 8. Children may have moderate mental retardation and learning difficulties. Skeletal and systemic irregularities include short stature, marked smallness in the jaws, progressive joint stiffness, compressed spinal cord, clouded corneas, hearing loss, heart disease, coarse facial features, and umbilical hernia. Respiratory problems, sleep apnea, and heart disease may develop in adolescence. Some persons with MPS I H-S need continuous positive airway pressure during sleep to ease breathing. Life expectancy is generally into the late teens or early twenties.
  • 25.
    25 1 in 100,000babies born has Hurler syndrome. The estimate for Scheie syndrome is one in 500,000 births and for Hurler-Scheie syndrome it is one in 115,000 births. My patient was diagnosed with MPS IS- Scheie Syndrome 2. MPS II MPS II, Hunter syndrome or iduronate sulfatase deficiency, is caused by lack of the enzyme iduronate sulfatase. Hunter syndrome has two clinical subtypes and (since it shows X-linked recessive inheritance) is the only one of the mucopolysaccharidoses in which the mother alone can pass the defective gene to a son. The incidence of Hunter syndrome is estimated to be 1 in 100,000 to 150,000 male births. 3. MPS III MPS III, Sanfilippo syndrome, is marked by severe neurological symptoms. These include progressive dementia, aggressive behavior, hyperactivity, seizures, some deafness and loss of vision, and an inability to sleep for more than a few hours at a time. This disorder tends to have three main stages. During the first stage, early mental and motor skill development may be somewhat delayed. Affected children show a marked decline in learning between ages 2 and 6, followed by eventual loss of language skills and loss of some or all hearing. Some children may never learn to speak. In the syndrome's second stage, aggressive behavior, hyperactivity, profound dementia, and irregular sleep may make children difficult to manage, particularly those who retain normal physical strength. In the syndrome's last stage, children become increasingly unsteady on their feet and most are unable to walk by age 10. Thickened skin and mild changes in facial features, bone, and skeletal structures become noticeable with age. Growth in height usually stops by age 10. Other problems may include narrowing of the airway passage in the throat and enlargement of the tonsils and adenoids, making it difficult to eat or swallow. Recurring respiratory infections are common. There are four distinct types of Sanfilippo syndrome, each caused by alteration of a different enzyme needed to completely break down the heparan sulfate sugar chain. Little clinical difference exists between these four types but symptoms appear most severe and
  • 26.
    26 seem to progressmore quickly in children with type A. The average duration of Sanfilippo syndrome is 8 to 10 years following onset of symptoms. Most persons with MPS III live into their teenage years, and some live longer. Sanfilippo A is the most severe of the MPS III disorders and is caused by the missing or altered enzyme heparan N-sulfatase. Children with Sanfilippo A have the shortest survival rate among those with the MPS III disorders. Sanfilippo B is caused by the missing or deficient enzyme alpha-N- acetylglucosaminidase. Sanfilippo C results from the missing or altered enzyme acetyl-CoAlpha- glucosaminide acetyltransferase. Sanfilippo D is caused by the missing or deficient enzyme N-acetylglucosamine 6- sulfatase. The incidence of Sanfilippo syndrome (for all four types combined) is about one in 70,000 births. 4. MPS IV MPS IV, Morquio syndrome, is estimated to occur in 1 in 700,000 births. Its two subtypes result from the missing or deficient enzymes galactose 6-sulfate sulfatase (Type A) or beta-galactosidase (Type B) needed to break down the keratan sulfate sugar chain. Clinical features are similar in both types but appear milder in Morquio Type B. Onset is between ages 1 and 3. Neurological complications include spinal nerve and nerve root compression resulting from extreme, progressive skeletal changes, particularly in the ribs and chest; conductive and/or neurosensitive loss of hearing and clouded corneas. Intelligence is normal unless hydrocephalus develops and is not treated. Physical growth slows generally around the age of 18 months, and stops completely by the age of 8. Skeletal abnormalities include a bell-shaped chest, a flattening or curvature of the spine, shortened long bones, and dysplasia of the hips, knees, ankles, and wrists. The bones that stabilize the connection between the head and neck can be malformed (odontoid hypoplasia); in these cases, a surgical procedure called spinal cervical bone fusion can be lifesaving. Restricted breathing, joint stiffness, and heart disease are also common. Children with the more severe form of Morquio syndrome may not live beyond their twenties or thirties.
  • 27.
    27 5. MPS VI Childrenwith MPS VI, Maroteaux-Lamy syndrome, usually have normal intellectual development but share many of the physical symptoms found in Hurler syndrome. Caused by the deficient enzyme N-acetylgalactosamine 4-sulfatase, Maroteaux-Lamy syndrome has a variable spectrum of severe symptoms. Neurological complications include clouded corneas, deafness, thickening of the dura (the membrane that surrounds and protects the brain and spinal cord), and pain caused by compressed or traumatized nerves and nerve roots. Growth is normal at first but stops suddenly around age 8. By age 10 children have developed a shortened trunk, crouched stance, and restricted joint movement. In more severe cases, children also develop a protruding abdomen and forward-curving spine. Skeletal changes (particularly in the pelvic region) are progressive and limit movement. Many children also have umbilical or inguinal hernias. Nearly all children have some form of heart disease, usually involving valve dysfunction. An enzyme replacement therapy was tested on patients with MPS VI and was successful in that it improved growth and joint movement. An experiment was then carried out to see whether an injection of the missing enzyme into the hips would help the range of motion and pain. 6. MPS VII MPS VII, Sly syndrome, one of the least common forms of the mucopolysaccharidoses, is estimated to occur in fewer than one in 250,000 births. The disorder is caused by deficiency of the enzyme beta-glucuronidase. In its rarest form, Sly syndrome causes children to be born with hydrops fetalis, in which extreme amounts of fluid are retained in the body. Survival is usually a few months or less. Most children with Sly syndrome are less severely affected. Neurological symptoms may include mild to moderate mental retardation by age 3, communicating hydrocephalus, nerve entrapment, corneal clouding, and some loss of peripheral and night vision. Other symptoms include short stature, some skeletal irregularities, joint stiffness and restricted movement, and umbilical and/or inguinal hernias. Some patients may have repeated bouts of pneumonia during their first years of life. Most children with Sly syndrome live into the teenage or young adult years.
  • 28.
    28 7. MPS IX Thedisorder results from hyaluronidase deficiency. Symptoms included nodular soft- tissue masses located around joints, with episodes of painful swelling of the masses and pain that ended spontaneously within 3 days. Pelvic radiography showed multiple soft- tissue masses and some bone erosion. Other traits included mild facial changes, acquired short stature as seen in other MPS disorders, and normal joint movement and intelligence. Causes Mucopolysaccharidosis (MPS) is a group of diseases that are also classified as lysosomal storage diseases. Lysosomes are compartments in the cell that contain various enzymes that degrade (break down) molecules. In MPS, glycosaminoglycans or mucopolysaccharides are not degraded. Glycosaminoglycans are polysaccharides, or long-chain sugars, that normally help the growth of bone, skin, tendons, connective tissues, and eyes. Glycosaminoglycans are also typically found in the fluid that surrounds joints. When they are not broken down, glycosaminoglycans may cause progressive cellular damage. Normally, a gene (specific region of DNA) provides the body with instructions on how to make an enzyme. There are 11 enzymes involved in the breakdown of glycosaminoglycans. A deficiency or absence of any one of the enzymes may cause MPS, but only seven have been found to occur in humans. The type of MPS is classified by the enzyme that is deficient. The most likely pattern of inheritance is autosomal recessive although some types of MPS may be inherited as an X-linked dominant trait. MPS I: MPS I is caused by a deficiency of the enzyme alpha-L-iduronidase. MPS II: MPS II is caused by a deficiency of the enzyme iduronate sulfatase. This is the only form of MPS that is X-linked dominant. MPS III: MPS III is caused by a deficiency of an enzyme that breaks down heparan sulfate. There are four subtypes of MPS III, and they are types A, B, C, and D. Type A affects the enzyme heparan N-sulfatase, B affects alpha-N-acetylglucosaminidase, C affects acetyl-CoA alpha-glucosaminide acetyltransferase, and D affects N-acetylglucosamine 6-sulfatase.
  • 29.
    29 MPS IV: MPSIV is caused by a deficiency of an enzyme that breaks down keratin sulfate. There are two subtypes of MPS IV. Type A affects the enzyme N-acetylgalactosamine 6- sulfatase and type B affects beta-galactosidase. MPS VI: MPS VI is caused by a deficiency of the enzyme N-acetylgalactosamine 4- sulfatase. MPS VII: MPS VII is caused by a deficiency of the enzyme beta-glucuronidase. MPS IX: MPS IX is caused by a deficiency of the enzyme hyaluronidase. Autosomal recessive inheritance: Most types of mucopolysaccharidosis (MPS) are autosomal recessive disorders that are inherited at birth. MPS II or Hunter syndrome is the only form of MPS that is X-linked dominant. In a recessive genetic disorder, a person must inherit two copies of the genetic mutation (one copy from each parent) to develop MPS. People who inherit a mutation from only one parent are called "carriers," and they may pass the mutation to their children. If only one parent has one copy of the mutated gene, then each child will have a 50% chance of inheriting one mutated gene and also being a carrier. If both parents are carriers, each child has a 25% chance of inheriting two mutated genes, a 50% chance of inheriting only one mutation, and a 25% chance of inheriting neither of the mutations. If one parent has MPS and the other parent does not carry the trait, then all of the children will be carriers. If one parent has MPS and the other parent is a carrier, then each child has a 50% chance of having MPS or of being a carrier. If both parents have MPS, then all of their children will also have MPS. X-linked dominant inheritance: MPS II or Hunter syndrome is an X-linked dominant inherited genetic condition. Normal individuals have two copies of most genes (one inherited from the father and one from the mother). In a dominant genetic disorder, only one copy of a certain gene needs to be defective for the condition to manifest. It has been shown that a deficiency or mutation in the enzyme iduronate sulfatase, which is located on the X chromosome, may cause MPS II. Females have two copies of the X chromosome, but males have one X chromosome and one Y chromosome. Males inherit an X chromosome from the mother and a Y chromosome from the father, so a male can only inherit MPS II from the mother. A female needs to inherit two
  • 30.
    30 mutant copies todevelop MPS II (one from each parent), whereas a male only needs to inherit one mutant copy to develop the condition. MPS II is more common in males that females. Females who inherit only one mutant copy are called "carriers." Females who are carriers may exhibit some mild symptoms. Random occurrence: It is unknown whether MPS can occur as the result of a spontaneous genetic mutation with no family history of the disease. Risk Factors Mucopolysaccharidosis (MPS) is a disorder caused by genetic errors, or mutations, in any of the genes that produce the enzymes responsible for glycosaminoglycan degradation. Because MPS is inherited, a family history of the disorder is the primary risk factor for MPS. Autosomal recessive inheritance: Most types of mucopolysaccharidosis (MPS) are inherited as autosomal recessive traits. MPS II or Hunter syndrome is the only form of MPS that is X- linked dominant. A person must inherit two copies of the genetic mutation (one copy from each parent) to develop a recessive form of MPS. People who inherit a mutation from only one parent are called "carriers," and they may pass the mutation to their children. If only one parent has one copy of the mutated gene, then each child will have a 50% chance of inheriting one mutated gene and also being a carrier. If both parents are carriers, each child has a 25% chance of inheriting two mutated genes, a 50% chance of inheriting only one mutation, and a 25% chance of inheriting neither of the mutations. If one parent has MPS and the other parent does not carry the trait, then all of the children will be carriers. If one parent has MPS and the other parent is a carrier, then each child has a 50% chance of having MPS and a 50% chance of being a carrier. If both parents have MPS, then all of their children will also have MPS. X-linked dominant inheritance: MPS II or Hunter syndrome is an X-linked dominant inherited genetic condition. Normal individuals have two copies of most genes (one inherited from the father and one from the mother). A person needs to inherit only one copy of the defective gene to develop a dominant disease. A deficiency or mutation in the enzyme iduronate sulfatase, which is located on the X chromosome, may cause MPS II. Females have two copies of the X chromosome, but males have one X chromosome and one Y chromosome. Males inherit an X chromosome from the mother and a Y chromosome from
  • 31.
    31 the father, soa male can only inherit MPS II from the mother. Therefore, a female needs to inherit two mutant copies to develop MPS II (one from each parent), whereas a male only needs to inherit one mutant copy to develop the condition. MPS II is more common in males that females. Females who inherit only one mutant copy are called "carriers." Female carriers may exhibit some mild symptoms. Pathophysiology Lysosomal malfunction occurs as a result of mutation in genes As a result of which patient do not produce enough of one of 11 enzymes/ produce defective enzymes Enzymes are specialized for breaking down a complex sugar chain called glycosoaminoglycans (formerly called mucopolysaccharides) These complex form of Glycosomainoglycans cannot be consumed by body thus over the time these glycosoaminoglycans collect in cells, blood and connective tissue Results in permanent progressive cellular damage which affects appearance, physical activities, interferes in abilities of organs and system functioning and mental development
  • 32.
    32 Clinical features clinical featuresmay have varying degree of severity. These features may not be apparent at birth but progress as deposition of glycosoaminoglycans increases and can affect bone, structural structure, connective tissues and organs. According to book In my patient Neurological complications – pain, tremors and impaired motor function (results from compression of nerves or nerve roots in CNS and PNS) ✓ Fine tremors present throughout limbs Normal intellect or impaired cognitivity Impaired cognitivity Developmental delay ✓ Severe behavioral problems X Hearing loss (conductivity/ neurosensitivity or both) ✓ Communicating hydrocephalus (normal absorption of CSF is blocked) X Coarse Facial Features (including flat Nasal bridge, thick lips, and enlarged mouth and tongue) ✓ Corneal clouding ✓ Degeneration of retina ✓ Decreased visual acquity ✓ Short stature with disproportionate short trunk Short stature but proportionate trunk Dysplasia (abnormal bone size and shape or other skeletal abnormalities) Present scilosis present in spine with concavity towards right side Thickened skin X Enlarged organs such as hepatomegaly or spleenomegaly, hernias, excessive hair growth X Short and claw like hands X Progressive joint stiffness and carpal tunnel syndrome X Recurrent respiratory infections (obstructive airway diseases) X Heart disease- enlarged heart valves X
  • 33.
    33 Picture showing: skeletalabnormalities left (scoliosis of spine with concavity towards right in lumbar region) Right (pigeon shaped chest with pectus excavation bilateral) Picture showing coarse facial feature flat nasal bridge, abnormal contour of head and dental spacing
  • 34.
    34 Diagnosis According to bookIn my patient History taking ✓ Physical examination ✓ urine tests (excess mucopolysaccharides are excreted in the urine) ✓ Enzyme assays (testing a variety of cells or body fluids in culture for enzyme deficiency) X Prenatal diagnosis using amniocentesis and chorionic villus sampling X Xrays (skeletal deformities) ✓ USG abdomen (enlarged organs) X CT scans (head) X MRI head Skeletal scans/ survey EEG Echocardiogram Complete blood count Biochemistry (sodium, potassium, urea, creatinine) Thyroid function tests MSE (Mental Status Examination) Echocardiogram ✓
  • 35.
    35 Investigations Results Investigations Findingsin my patient Normal values Complete blood count: TC DC - Polymorphs - Lymphocytes - Monocytes - Eiosinophils HB Platelets 3800cu/mm 47 50 01 02 12.5 gm/dl 130,000cu/mm 3500-12,000 cu/mm 11.2-16.5 g/dL 150,000-400,000 cum/mm Biochemistry - Urea - Creatinine - Sodium - Potassium - Calcium 10 mmol/L 0.6 mmol/L 135 mEq/L 4.9 mEq/L 7.8 mEq/L 2.5–6.0 mmol/L 0.3–1.0 mmol/L 135–148 mmol/L 3.5–5.8 mmol/L 4.4–5.3 mEq/L Thyroid function tests - T3 - T4 - TSH 7.7 18 4.7 4.8–11.5 10–20 0.37–6.00 Bone survey Xray hand and spine : NAD, bone age 6-8 years Xray chest (AP and lumbar spine) : small round sclerotic changes in L1 vertebra, round, kyphotic changes at L1, Small round sclerotic L1 vertebra with focal (developmental) Xray wrist/ spine: appearance of epiphyseal plates of scaphoid, trapezium and trapezoid suggesting bone age >6 years No appearance of epiphyseal plate for distal ulnar suggesting bone age <8 years Non appearance of epiphyseal plate for pisiform bone suggesting bone age of <11 years therefore bone age of patient: 6-8 years rest visible bone normal
  • 36.
    36 MRI: normal brainstructure, prominent bilateral temporal horns EEG: Abnormal EEG consistent with temporal lobe epilepsy Opthalmmological Examination: bilateral corneal clouding and cherry red spot on retina ENT examination: decreased hearing on both ears Mental Status Examination: decreased intellectuality and impaired cognivity COMPLICATIONS Cervical spine myelopathy Mental retardation Valvular dysfunction, Hypertension, Congestive heart failure Sudden cardiovascular collapse and death Sleep apnea to severe respiratory compromise and cor pulmonale. Significant loss of visual acuity. Glaucoma and chronic papilledema Deafness Middle ear infections, deformity of the ossicles, and abnormalities of the inner ear. Short stature Joint stiffness Hyperlaxity Carpal tunnel syndrome Hip dysplasia Severe skeletal deformities
  • 37.
    37 Management Currently there isno cure for these disorders. Medical care is directed at treating systemic conditions and improving the person's quality of life. Physical therapy and daily exercise may delay joint problems and improve the ability to move. Changes to the diet will not prevent disease progression, but limiting milk, sugar, and dairy products has helped some individuals experiencing excessive mucus. Surgery to remove tonsils and adenoids may improve breathing among affected individuals with obstructive airway disorders and sleep apnea. Sleep studies can assess airway status and the possible need for nighttime oxygen. Some patients may require surgical insertion of an endotrachial tube to aid breathing. Surgery can also correct hernias, help drain excessive cerebrospinal fluid from the brain, and free nerves and nerve roots compressed by skeletal and other abnormalities. Corneal transplants may improve vision among patients with significant corneal clouding. There various clinical trials for the treatment of MPS I though currently, no specific treatment exists for MPS I. Allogeneic bone marrow transplantation is the treatment of choice for selected MPS IH patients, but the outcomes vary widely and the procedure has associated risks, including increased morbidity and mortality. BMT, however, has been shown to slow or reverse some of the features of the disease. 1. Enzyme replacement therapy (ERT) are currently in use or are being tested. Enzyme replacement therapy has proven useful in reducing non-neurological symptoms and pain. In both human studies recombinant iduronidase (rhIDUA) was given as a weekly infusion in a dose of 100 units per kg per week (0.58 mg/kg/week). An open label study in 10 patients14 showed that hepatosplenomegaly decreased significantly in all patients, and the size of the liver was normal for body weight and age in eight patients by 26 weeks. The rate of growth in height and weight increased by a mean of 85 and 131 percent, respectively, in the six prepubertal patients. The mean maximal range of motion of shoulder flexion and elbow extension increased significantly. The number of episodes of apnea and hypopnea during sleep decreased by 61 percent. New York Heart Association functional class improved by one or two classes in all patients. Urinary
  • 38.
    38 glycosaminoglycan excretion decreasedafter 3 to 4 weeks of treatment; the mean reduction was 63 percent of base-line values. 2. Haematopoetic Stem Cell Transplant 3. Bone marrow transplantation (BMT) and umbilical cord blood transplantation (UCBT) have had limited success in treating the mucopolysaccharidoses. 4. Other trials Aldurazyme 100U/kg/week in 100 mls normal saline <20 kgs 100U/kg/week in 250 mls normal saline >20 kgs The dosage should be rounded up or down to the nearest complete vial to prevent wastage. Dosages may alternate from week to week to get as close to 200U/kg/2weeks without wasting drug. Infusion is initially given over 4 hours. Pre-medication with antihistamines and antipyretics at prescriber’s discretion. The length of time of infusions can be slowly reduced after the 8th infusion to 2 hours assuming there are no infusion associated reactions. Follow up Patients will be reviewed every 3 - 6 months in out-patients. Each visit: Clinical examination and vital signs Urine glycosaminoglycans Other baseline investigations may need to be repeated if clinically indicated 12 months (and annually thereafter): All baseline investigations (with the exception of routine radiology) are repeated unless there is a clinical need to repeat them more frequently. In My patient: No specific treatment was done in my patient for Mucopolysaccharidoses. However for treatment of epilepsy patient was prescribed sodium valporate 200mg BD
  • 39.
    39 Drugs used inMy Patient Sodium valporate (encorate chrono) 200mg BD DRUG PLAN Sodium Valporate It is used for all types of epilepsy alone or in combination. It increases Phenobarbital and decreases phenobarbitone blood levels on simultaneous administration Trade Name: Encorate Chrono Generic Name: Valproic Acid Group Name: Anti-convulsants Mechanism of action It acts by inhibiting GABA transaminase thus increasing the concentration of GABA, an inhibitory transmitter in CNS Indication All form of epilepsy (grandma, focal, psychomotor) except absence seizure (petmal); trigeminal neuralgia Preparation Tablet: 200mg, 400mg syrup: 100mg/ml Dosage Initially 10mg/day orally, increasing slowly to 20-30mg/kg/day in divided doses
  • 40.
    40 Adverse effect drowsiness, diplopia,vertigo, araxia, blurred vision, GI upset, skin reaction, lymphadenopathy, eosinophilia, splenomegaly, agarnulocytosis, aplastic anemia, edema, liver and kidney toxicity, cholestatic jaundice Contraindication A-V conduction defects, history of previous bone marrow depression Precaution Pregnancy, lactation, imapairment of hepatic function Nursing implication - Tell patient that drug may cause GI distress so should take drug with food at equally spaced intervals - Warn patients not to stop using drug abruptly - Encourage patient to promptly report unusual bleeding, jaundice, ddark urone, pale stools etc.
  • 41.
  • 42.
    42 Nursing Management Assessment a. HistoryTaking: including patient’s chief complain, present health status, birth history, family history, sign and symptoms b. Physical Examination: Presence of fine tremors in whole body. Decreased muscle mass and strength, progressive, progressive deterioration of cognitivity, coarse facial features, presence of scoliosis in lumbar region, pigeon shaped chest, dental spacing, impaired hearing, decreased visual acquity and presence of corneal clouding C .Investigations Complete blood count (TC, DC, Hb, ESR), Urea, Creatinine, Xray, MRI, EEG, Echocardiogram, MRI Nursing Diagnosis - Self care deficit related to inability to carryout ADLS / tremors - Impaired physical mobility related to weakness of bones and muscles - Risk for injury related to tremors and episodic seizure - Diversional therapy deficient related to hospitalization - Altered family process related to prognosis of disease Planning / goal the major goal is to prevent injury from seizure, encourage and assist patient on Activities Of Daily Livings (ADLS), increase mobility and provide pshycological support to patient Interventions 1. Self care deficit - Assess client level to perform ADLS - Assist client with daily activities - Provide positive reinforcement during activity. - Allow patient to perform tasks at his or her own rate - Encourage independent activity as able and safe
  • 43.
    43 2. Impaired physicalmobility -Assess client extent of mobility - Perform passive or active assistive ROM exercises to all extremities - Encourage appropriate use of assistive devices -Encourage physical activities - Assist patient on ambulation 3. Risk for injury -Assess patient for safety - Provide crutch or stick for support while walking and climbing stairs -Monitor seizure activities - Keep side rails for safety of patient 4. Diversional therapy deficient - Assess leisure activity preferences. -Spend more time with patient -seek help from family to relieve boredom and stimulate interest - provide play material appropriate to his age group 5. Altered family process -Provide psychological support to patient’s family -provide knowledge regarding disease process and it’s prognosis -Respond to all queries of patient family -encourage to express verbalize their anxiety and feelings
  • 44.
    44 APPLICATION OF NURSINGTHEORY While providing care to my patient, I applied Orem’s Theory of Nursing. Orem’s Theory consists of 1. Theory of self care 2. Theory of self care deficit 3. Theory of Nursing System My patient Biplav Dhital, 13years male was admitted on Medical ward of Kanti Children’s Hospital with diagnosis of Mucopolysaccharidoses was alert and conscious however he had difficulty carrying out his daily activities due to presence of fine tremors throughout the body and generalized weakness, Thus, I applied Orem’s theory as it appeared to be the best possible theory to meet my client’s need while providing nursing care. Orem’s Theory of Nursing Care Orem’s theory of nursing has three related theories 1. Theory of self care 2. Theory of self care deficit and 3. Theory of nursing system Though my patient had difficulty carrying out his daily activities smoothly he however was capable of doing it thus, I figured out theory of nursing system as most suitable theory for caring my patient Theory of nursing system. It describes how the patients self care needs will be met by the nurse, patient and both It identifies three classifications of nursing system to meet the self care requisites of the patient - Wholly compensatory system - Partly compensatory system - Supportive- educative system Wholly compensatory nursing system is represented by a situation in which the individual is unable to engage in self care actions requiring self directed and controlled ambulation and manipulative movement or the medical prescription to refrain from such activities
  • 45.
    45 Person with theselimitations are socially dependent on others for their continued existence and wellbeing. Example patient in coma Partly compensatory nursing system represented by a situation in which both nurse and patient perform care measures or other action involving manipulative tasks or ambulation. Either patient or nurse may have major role in performance of self care measures. Examples a person who recently had surgery Supportive- educative system: in this system the person is able to perform or can and should learn to form required measures of externally or internally oriented therapeutic self care but cannot do so without assistance. This is also known a supportive developmental system. In this system patient is doing all of his self care. The patient’s requirements for help are confined to decision makings behavior control, and acquiring knowledge and skills. The nurse’s role is to promote the patient as a self care agent. Example chronic disease patients like hypertension I applied partly compensatory nursing theory by - Providing morning care - Medication - Maintaining personal hygiene - Providing safe environment And I applied supportive educative theory by - Providing information about disease condition - Medication - Complication and it’s prognosis - Home based management of disease and possible risks - Diet - Follow up - Psychological support to both parent and child
  • 46.
    46 Nursing Care Plan Patient’sIdentification Name of Patient: Biplav Dhital Age:13 years Sex: Male Cast: Brahmin Religion: Hindu Ward: Medical Bed No:343 IP No: 85169 Date Of Admission: 2070/4/11 Medical Diagnosis: Mucopolysaccharidoses Assessment My patient Biplav Dhital, 13years male was admitted on Medical ward of Kanti Children’s Hospital with diagnosis of Mucopolysaccharidoses with chief complain of generalized weakness since 1 year, progressive deterioration of school performance, involuntary body movement for 1 and half hour 10 days prior to day of admission Patient had history of involuntary body movement 1 episode for one and half an hour followed by uprolling of eyes with deviation of mouth, drolling from mouth, stiffening of body and titanic spasms of hands with epileptic features patient was apparently well one year back, when he develop viral fever for 1 week and was treated with amoxicillin 250mg and cetamol for one week After this episode of fever patient’s general condition started to deteriorate with visible symptoms. Nursing Diagnosis - Self care deficit related to inability to carryout ADLS / tremors - Impaired physical mobility related to weakness of bones and muscles - Risk for injury related to tremors and episodic seizure - Diversional therapy deficient related to hospitalization - Altered family process related to prognosis of disease
  • 47.
    47 S.N Date AssessmentNursing Diagnosis Nursing goal Intervention Rationale Evaluation 1. 4/13 Subjective data ―his body trebles all the time so his sister helps him to hid works‖ Objective data Fine tremors all over the body, uncoordinated and exaggerated reflexes Self care deficit related to inability to carryout ADLS / tremors -Assist patient on Activities Of Daily Livings (ADLS) -Assess client level to perform ADLS - Assist client with daily activities - Provide positive reinforcement during activity. - Allow patient to perform tasks at his or her own rate - Encourage independent activity as able and safe -To obtain baseline data and evaluate patient’s ability -To maintain hygiene and promote comfort - To encourage client and build positive attitude - To maintain clients’ esteem -To promote client’s ability Goal met patient was assisted on ADLs and encouraged to carry out activities independently
  • 48.
    48 2 4/15 Subjectivedata ―he cannot walk alone, he falls whenever tries walking alone‖ Objective data Has difficulty walking and doesn’t walk alone Impaired physical mobility related to weakness of bones and muscles Increase mobility within ward by one hour -Assess client extent of mobility - Perform passive or active assistive ROM exercises to all extremities - Encourage appropriate use of assistive devices -Encourage physical activities - Assist patient on ambulation -To obtain baseline data to evaluate condition of client -To prevent from atrophy of muscles and prevent further complications -promotes ambulation of patient -Prevent complications caused by decreased physical activities like constipation -To encourage and promote physical activities Goal met patient was mobilized and was encouraged to do physical activities whenever possible.
  • 49.
    49 3 4/15 Subjectivedata he cannot walk alone, he falls whenever tries walking alone‖ Objective data Has difficulty walking and doesn’t walk alone Risk for injury related to tremors and episodic seizure Prevent from fall injuries during hospital stay i.e 7days - Assess patient for safety - Provide crutch or stick for support while walking and climbing stairs -Monitor seizure activities - Keep side rails for safety of patient -To obtain baseline data and evaluate patients condition - It provides support while walking -To prevent possible injuries caused by seizure My goal was met as patient remained free from injuries during his hospital stay 4 4/13- 4-21 Subjective data ―I feel bore lying down in bd all day‖ Objective data Spent most of his time sleeping Diversional therapy deficient related to hospitalization Patient will express his interest in using leisure time meaningfully -Assess leisure activity preferences. -Spend more time with patient -seek help from family to relieve boredom and stimulate interest - provide play material appropriate to his age -to figure out patient’s likes and dislikes - to accompany him and relieve boredom -to engage him in different mind diverting activities -to promote mental development of child Goal was met Patient showed so sign of anxiety and boredom during his hospital stay
  • 50.
    50 group as perhis developmental need 5. 4/16 Subjective data ―he is my only son, I wish he would be fine again‖ Objective data Patient’s father looked anxious and sad Altered family process related to prognosis of disease Reduce anxiety and help family cope with the disease process -Provide psychological support to family -provide knowledge regarding disease process and it’s prognosis -Respond to all queries of patient family -encourage to express verbalize their anxiety and feelings -to reduce anxiety and cope with the disease process effectively Goal was not meet as the patient was diagnosed with a genetic disorder with permanent progressive damage to body system
  • 51.
    51 Diversional Therapy Hospitalization isone of the most stressful situations in childhood thus I used play therapy in my patient as diversional therapy Play is an integral part of a child’s life. From birth play helps children to learn, to relate to others and to have fun. Play can enhance a children’s development physically, emotionally, intellectually and linguistically. When children or adolescents are admitted to hospital they are at their most vulnerable. They are not only unwell, but they are also separated from their friends, family and familiar surroundings which may lead to increased stress. Play therapy helps by following ways: enhance the children’s understanding of their treatment and illness; serve as a diversion to keep a child’s mind off pain and medical procedures; assist healing and rehabilitation; help children regain confidence and self esteem allow children to participate in familiar activities that they would normally engage in at home, kindergarten or school; reassure the child that his/her body is still functioning so in my patient as a play therapy I gifted a ludo and taught him how to play it despite that I also asked his parents to buy him a book so that he could read it in his leisure time.
  • 52.
    52 PROGRESS REPORT When Ifirst visited my case it was his second day of admission. He was admitted in medical ward on 2070/4/11 Date Day Progress report Remarks 2070/4/13 2nd day of admission Vitals: T-98ºf p-80/m R-26/m Patient was well oriented to time, place and person Patient is in normal diet Blood investigation sent (calcium) 2070/4/14 3rd day of admission Vitals: T-96ºf p-80/m R-22/m Patient was well oriented to time, place and person Patient is in normal diet chest xray, spine and wrist xray done to find out any skeletal deformities Serum Calcium report collected Scilosis seen in spine xray at L1 2070/4/15 4th day of admission Vitals: T-99.2ºf p-86/m R-26/m Patient went for othalmological consultation 2070/4/16 5th day of admission Vitals: T-98.6ºf p-84/m R-24/m Patient went for ENT consultation
  • 53.
    53 and follow upon eye consultation 2070/4/17 6th day of admission Vitals: T-101ºf p-88/m R-26/m Skeletal survey done Time taken for MRI and EEG 2070/4/18 7th day of admission Vitals: T-97.2ºf p-86/m R-20/m EEG done 2070/4/19 8th day of admission Vitals: T-97.4ºf p-84/m R-28/m MRI done 2070/4/20 10th day of admission Vitals: T-97.6ºf p-84/m R-24/m EEG report collected (temporal lobe epilepsy seen) Sodium valporate 200 mg tablet BD started Urine sample sent for GAG (glycosoaminoglycans test) Echocardiography done 2070/4/21 Day of discharge Vitals: T-96.8ºf p-78/m R-20/m MRI report collected Diagnosis confirmed
  • 54.
    54 DISCHARGE TEACHING My patientwas diagnosed with genetic disorder which has no specific treatment and its damage is permanent and progressive, however he also had an episode of epileptic seizure which was later confirmed by EEG report as temporal lobe epilepsy. At the time of discharge I gave discharge teaching to patient’s father focusing on Follow up: Patient was called on follow up to evaluate his neurological impairment at Neuro OPD. I asked patient’s father to bring patient regularly on follow up at exact time given by doctor Safety: As he was having continuous tremors and episodic seizure I advised visitor to take good care of patient and never leave him alone if possible and make sure he is safe when he has seizure episode. I also advised visitor to try not to wake patient up while he is having seizure and bring him to hospital as soon as possible following seizure. Diet: I advised patient to eat balanced meal with adequately supplemented by carbohydrates, vitamins, proteins and minerals. I encouraged to use locally available and homemade dishes as much as possible Medication: I advised patient to keep compliance with medication and take medication regularly, don’t quit medication without consulting doctor. Take medication with food to decrease gastric upset Sodium valporate 200 mg BD
  • 55.
    55 Prognosis The symptoms ofScheie syndrome (MPS IS) include joint stiffness, aortic valve disease, mild hepatosplenomegaly, and corneal clouding. Scheie patients have little or no neurological involvement, are usually of normal stature and can have a normal life span although most have increasing physical disability and many will die in middle age predominantly of cardiac disease though a number many develop fatal cervical cord compression. The onset of symptoms is usually after five years, with a diagnosis between 10 and 20 years.
  • 56.
    56 LESSON LEARNT My patientBiplav Dhital, 13years male was admitted on Medical ward of Kanti Children’s Hospital with diagnosis of Mucopolysaccharidoses on 2070/4/11 with chief complain of generalized weakness since 1 year, progressive deterioration of school performance, involuntary body movement for 1 and half hour 10 days prior to day of admission Patient had history of involuntary body movement 1 episode for one and half an hour followed by uprolling of eyes with deviation of mouth, drolling from mouth, stiffening of body and titanic spasms of hands with epileptic features patient was apparently well one year back, when he develop viral fever for 1 week and was treated with amoxicillin 250mg and cetamol for one week After this episode of fever patient’s general condition started to deteriorate with visible symptoms. When I first came contact with the patient his diagnosis was still a query and it followed various series of investigations as his features were quite distracting from mainstream features of mucopolysaccharidoses though many features matched still there were distinct features which didn’t match it’s criteria During this course I got opportunity study a very rare genentic disease it’s various types, clinical features and I got opportunity to compare it with my patient which broadened my knowledge regarding this disease condition. His physical features were distinct and because of which I gained keen interest on going through this disease process thoroughly Beside medical and pathological knowledge I also learnt to provide nursing care based on a nursing theory to my patient, I got opportunity to use my theoretical knowledge in pratical setting
  • 57.
    57 SUMMARY During my clinicalpracticum for child health nursing at Kanti Children’s Hospital Maharajgunj, as per our curriculum I did a case study on 13 years male boy with diagnosis of mucopolysaccharidoses in medical ward on 2070/4/11 with chief complain of generalized weakness since 1 year, progressive deterioration of school performance, involuntary body movement for 1 and half hour 10 days prior to day of admission As his diagnosis was on query following investigations was done Complete blood count including TC, DC, Hb, platelets, urea,cretinie, calcium, Xrays, bone survey, Urine for GAG, EEG, Echocardiography During this case study I got opportunity to gain through knowledge regarding disease process and apply nursing theory to provide comprehensive and holistic nursing care to the patient. I got opportunity to gain knowledge regarding the growth and development of adolescent I did a physical assessment of patient, assessed client’s condition and find out his need. I provided different formal and informal education to client and family during the hospital stay regarding personal hygiene, diet. As my patient was diagnosed with a genetic disorder I also provided psychological support to client and family and at the time of discharge I provided discharge teaching on follow up, medication, client’s safety measure, diet and home based management of disease. He was discharged from hospital once diagnosis was confirmed after 11 days stay on 2070/4/21.
  • 58.
    58 References Behrman R, KliemanR, Nelson’s Essential’s of Pediatrics, 6th edition, Saunders Hockenberry J Marilyn, Wilson D, wong’s nursing care of infants and children. 8th edition, 2009, Elsevier Tuitui R, Pocket books of dugs, 4th eedition,2008, Makali Publication http://en.wikipedia.org/wiki/Lysosomal_storage_disease http://emedicine.medscape.com/article/1182830-overview#aw2aab6b6 https://igm.jhmi.edu/personal/lysosomal-storage-diseases http://www.ncbi.nlm.nih.gov/books/NBK6177/ http://www.usask.ca/cme/articles/telehealth/LSD%20Booklet.pdf http://www.merckmanuals.com/professional/pediatrics/inherited_disorders_of_metabolism/lysosomal _storage_disorders.html http://en.wikipedia.org/wiki/Mucopolysaccharidosis http://ghr.nlm.nih.gov/condition/mucopolysaccharidosis-type-i http://emedicine.medscape.com/article/1258678-overview