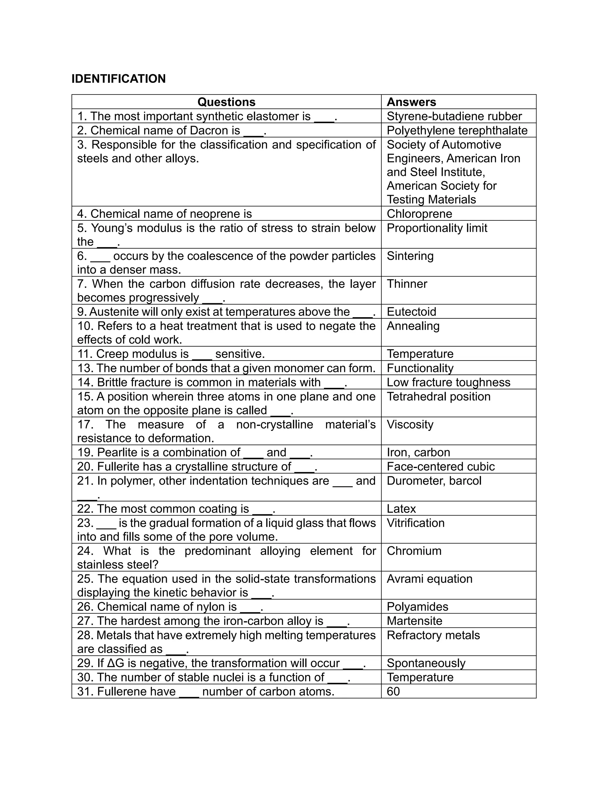
IDENTIFICATION
Questions Answers
1. The most important synthetic elastomer is ___. Styrene-butadiene rubber
2. Chemical name of Dacron is ___. Polyethylene terephthalate
3. Responsible for the classification and specification of
steels and other alloys.
Society of Automotive
Engineers, American Iron
and Steel Institute,
American Society for
Testing Materials
4. Chemical name of neoprene is Chloroprene
5. Young’s modulus is the ratio of stress to strain below
the ___.
Proportionality limit
6. ___ occurs by the coalescence of the powder particles
into a denser mass.
Sintering
7. When the carbon diffusion rate decreases, the layer
becomes progressively ___.
Thinner
9. Austenite will only exist at temperatures above the ___. Eutectoid
10. Refers to a heat treatment that is used to negate the
effects of cold work.
Annealing
11. Creep modulus is ___ sensitive. Temperature
13. The number of bonds that a given monomer can form. Functionality
14. Brittle fracture is common in materials with ___. Low fracture toughness
15. A position wherein three atoms in one plane and one
atom on the opposite plane is called ___.
Tetrahedral position
17. The measure of a non-crystalline material’s
resistance to deformation.
Viscosity
19. Pearlite is a combination of ___ and ___. Iron, carbon
20. Fullerite has a crystalline structure of ___. Face-centered cubic
21. In polymer, other indentation techniques are ___ and
___.
Durometer, barcol
22. The most common coating is ___. Latex
23. ___ is the gradual formation of a liquid glass that flows
into and fills some of the pore volume.
Vitrification
24. What is the predominant alloying element for
stainless steel?
Chromium
25. The equation used in the solid-state transformations
displaying the kinetic behavior is ___.
Avrami equation
26. Chemical name of nylon is ___. Polyamides
27. The hardest among the iron-carbon alloy is ___. Martensite
28. Metals that have extremely high melting temperatures
are classified as ___.
Refractory metals
29. If ΔG is negative, the transformation will occur ___. Spontaneously
30. The number of stable nuclei is a function of ___. Temperature
31. Fullerene have ___ number of carbon atoms. 60
32. Thermoplastic elastomers are frequently termed as
___.
Styrenic block copolymer
34. Ductile iron is formed by the addition of ___ and ___. Magnesium, cerium
35. Buckyball consists of ___ and ___ configurations. 20 hexagons, 12
pentagons
36. In cast iron, graphite is formed in the presence of ___. Silicon
38. Isothermal transformation diagram is also called as
___.
Time-temperature-
transformation plots
39. Transformation rate increases with ___ temperature. Decreasing
40. The trade name of ultra-high-molecular-weight
polyethylene is ___.
Spectra
42. Other term for lost-wax casting is called ___. Investment casting
44. Acid refractories are also called ___. Silica refractories
45. Defect that involves a cation vacancy-anion vacancy
pair is called ___.
Schottky defect
46. Chemical name of natural rubber is ___. Natural polyisoprene
47. Elastic behavior is also known as ___. Young’s modulus
48. A process in which the precipitate phase begins to
form as finely dispersed particles of composition.
Aging
49. The common name of phenol-formaldehyde is ___. Bakelite
51. The lowest density of all the structural metals. Magnesium
52. What are the steps in polymerization? Initiation, propagation
termination
ESSAYS
8. Ferrous alloys is one of the most useful engineering construction materials,
why?
Ferrous alloys are one of the most useful engineering construction materials due to their
strength, ductility, malleability, and resistance to oxidation. They are also made up of iron
as well as other metals such as chromium, manganese, nickel, molybdenum, vanadium,
and tungsten. The addition of these metals increases the strength and corrosion
resistance of the alloy significantly. Moreover, ferrous alloys can be cast into nearly any
shape or size which makes them a great candidate for use in structural components like
bridges, building frames, and transmission towers. The material also has high wear-
resistance characteristics that make it ideal for automotive engine parts and industrial
machinery. Its unique properties allow ferrous alloys to stay rust free during several years
of service. In conclusion, ferrous alloys are an excellent choice for engineering projects
where flexibility and strength are paramount.
12. Techniques in forming operation.
In material science and engineering, forming operations involve methods used to shape
materials into components. These can include techniques such as stamping, bending,
spinning, rolling, or forging. Each technique has its own advantages and disadvantages
that should be considered when deciding which method to use for a particular application.
Stamping requires the least energy while spinning is well suited for producing complex
parts with high accuracy. Rolling offers the potential for higher production volume but may
not be suitable for small parts due to the heat generated during the process. Bending
assists in creating uniform cross sections for larger parts requiring less machining. Finally,
forging yields stronger shapes by compressing solidified metal due to repeated hammer
blows or hydraulic pressure. When selecting one of these forming methods it is important
to consider all the factors including cost, time, strength, complexity, and precision to
ensure the optimal result.
16. Discuss the silica-alumina phase diagram.
The silica-alumina phase diagram is used to determine the phase transformation behavior
of materials composed of SiO2 and Al2O3. This phase diagram is particularly important for
ceramics, glasses, steels, and other metal alloys as it can be used to determine melting
points, solubility limits, solid solution ranges, and ceramic formation. At lower
temperatures and pressures, cristobalite is formed; whereas the opposite produces
crystalline quarts. Moreover, these kinds of diagrams are commonly used to study
complexities related to sintering fires and glass melts as well as to understand different
fracture modes from alumino-silicate glass. Aside from conventional uses, these
diagrams are also applicable in various advanced materials applications such as fused
silica for optical fibers and ultraviolet filters.
18. Annealing Heat Treatment.
Annealing heat treatment is a process commonly used in material science and
engineering that involves subjecting materials to a form of thermal processing. This
process typically involves heating the material, holding it at a specific temperature for
some time, and then slowly cooling it. The purpose of annealing heat treatment is to
reduce hardness and stress within the material while allowing its structure to become
softer and more pliable due to the rearrangement of grains or crystalline structures. By
controlling the thermodynamic variables involved throughout the process, any given
material can be uniquely tailored for improved properties such as increased malleability,
hardness if desired, greater electrical resistance, or fatigue endurance. Annealing heat
treatment is highly customizable but often results in improved physical strength, ductility,
reduced brittleness, and lower scaling (oxidation) sensitivity.
33. Differentiate diamond and graphite.
Diamond and graphite are both composed of carbon atoms but have different crystalline
structures which results in distinct characteristics. Diamond is an allotrope of carbon with
a strong, three dimensional structure with covalent bonds between atoms that make it
very hard and resistant to scratches. On the other hand graphite has a flat structure
consisting of layers of carbon sheets stacked on top of each other, linked via weak van
der Waals forces allowing individual layers to be easily separated or cleaved. These
properties result in graphite being much softer than diamonds. Due to its hardness and
high refractive index making it sparkle diamonds are highly valued for their aesthetic
qualities and tend to be more expensive than graphite. Moreover, diamonds are used
industrially for saw blades, drill bits, grinding wheels and engraving tools whereas
graphite is mainly used as lubricants, pencil tips and electrodes.
37. Important points in the fabrication and processing of glasses.
One of the most integral components of fabrication and processing for glasses used in
material science and engineering is glass tempering, or thermal strengthening. This
process involves heating glass to a temperature that causes it to become softer and can
be followed up by quickly cooling the surface layer through forced air which then creates
an increased compressive stress on the surface. The greater the differential between the
tensile strength and compressive strength, the tougher the glass becomes and more
resistant to damage from impacts or scratches. Additionally, during heat tempering
treatments, the thickness of the glass can also be fine-tuned depending on how hot the
equipment reaches. It is common to apply annealing steps at critically lower temperatures
afterwards as well; this process simulates natural cooldowns that sometimes take place
in raw materials. Other techniques include cutting, drilling, and polishing which are all
equally important when taking into account the overall quality of the finished product. All
in all, the fabrication and processing of glasses used in material science and engineering
is highly complex and requires multiple specialized processes depending on the desired
outcome.
41. Criteria of a polymer to be elastomeric.
A polymer can be classified as an elastomeric based on its ability to bounce back to its
original shape and size when subjected to force. Elastomers are materials similar to
rubber which normally do not have a permanent set even after the applied force is
removed, allowing for them to be stretched up to five times their original length.
Furthermore, elastomers generally exhibit viscoelastic characteristics between solids and
fluids by simultaneously possessing both viscous behavior over time and elastic behavior
in the short-term. To further classify a material as an elastomer it must also possess
significant hysteresis, low stress relaxation at higher temperatures, high resilience and
effective use of energy absorption during deformation or shock in order to ensure that
good quality performance will remain.
43. Discuss glass transition temperature.
The glass transition temperature is used in material science and engineering to denote
the temperature at which a material undergoing adjustment changes abruptly from its
hardened state into an organic or rubbery state. It is also referred to as the critical
temperature, where objects become very soft and pliable when heated above it. This
occurs due to the unfavorable internal structure of the molecules in the material that
cannot handle any more energetically costly dislocations or crystal defects before the
point of melting. The amount of energy needed in order for this to happen increases
drastically with increasing temperature, resulting in a sudden change of properties just
before reaching the melting point.
50. Extraordinary characteristics of ultra-high-molecular-weight polyethylene.
Ultra-high-molecular-weight polyethylene (UHMWPE) is a material commonly used in the
engineering and materials sciences. It has remarkable properties, including superior
abrasion resistance, dimensional stability, chemical inertness, and low coefficient of
friction. UHMWPE also has impressive tensile strength; it can be stronger than steel by
weight while having lower densities than most plastics. Its unique combination of
mechanical, thermal and chemical resistance characteristics make it highly attractive for
industrial applications. Useful products such as gears, bearing, rollers and washer are
commonly produced from this resilient material. UHMWPE even has useful application in
medical devices like hip replacements which requires high wear performance. In
conclusion, UHMWPE offers an array of advantages making it one of the most widely
used engineering plastics in the industry today.
53. Techniques in casting.
Casting is one of the oldest techniques on record used in material science and
engineering. It consists of pouring a molten metal into a prepared mold and allowing the
metal to cool, forming a shape which takes the exact form of the inside of the mould. The
process can produce parts with complex shapes that would be difficult or impossible to
create using other processes. Casting also allows for rapid creation of components
without additional machining, making it useful when production speed is of the essence.
Additionally, casting does not require excessive use of energy resources, which is
beneficial for sustainability reasons. Finally, because materials can be mixed during the
molten stage, cast components have superior homogeneity in their composition
compared to mechanical working methods.

Materials Science Quiz - Reviewer 2 .pdf

  • 1.
    IDENTIFICATION Questions Answers 1. Themost important synthetic elastomer is ___. Styrene-butadiene rubber 2. Chemical name of Dacron is ___. Polyethylene terephthalate 3. Responsible for the classification and specification of steels and other alloys. Society of Automotive Engineers, American Iron and Steel Institute, American Society for Testing Materials 4. Chemical name of neoprene is Chloroprene 5. Young’s modulus is the ratio of stress to strain below the ___. Proportionality limit 6. ___ occurs by the coalescence of the powder particles into a denser mass. Sintering 7. When the carbon diffusion rate decreases, the layer becomes progressively ___. Thinner 9. Austenite will only exist at temperatures above the ___. Eutectoid 10. Refers to a heat treatment that is used to negate the effects of cold work. Annealing 11. Creep modulus is ___ sensitive. Temperature 13. The number of bonds that a given monomer can form. Functionality 14. Brittle fracture is common in materials with ___. Low fracture toughness 15. A position wherein three atoms in one plane and one atom on the opposite plane is called ___. Tetrahedral position 17. The measure of a non-crystalline material’s resistance to deformation. Viscosity 19. Pearlite is a combination of ___ and ___. Iron, carbon 20. Fullerite has a crystalline structure of ___. Face-centered cubic 21. In polymer, other indentation techniques are ___ and ___. Durometer, barcol 22. The most common coating is ___. Latex 23. ___ is the gradual formation of a liquid glass that flows into and fills some of the pore volume. Vitrification 24. What is the predominant alloying element for stainless steel? Chromium 25. The equation used in the solid-state transformations displaying the kinetic behavior is ___. Avrami equation 26. Chemical name of nylon is ___. Polyamides 27. The hardest among the iron-carbon alloy is ___. Martensite 28. Metals that have extremely high melting temperatures are classified as ___. Refractory metals 29. If ΔG is negative, the transformation will occur ___. Spontaneously 30. The number of stable nuclei is a function of ___. Temperature 31. Fullerene have ___ number of carbon atoms. 60
  • 2.
    32. Thermoplastic elastomersare frequently termed as ___. Styrenic block copolymer 34. Ductile iron is formed by the addition of ___ and ___. Magnesium, cerium 35. Buckyball consists of ___ and ___ configurations. 20 hexagons, 12 pentagons 36. In cast iron, graphite is formed in the presence of ___. Silicon 38. Isothermal transformation diagram is also called as ___. Time-temperature- transformation plots 39. Transformation rate increases with ___ temperature. Decreasing 40. The trade name of ultra-high-molecular-weight polyethylene is ___. Spectra 42. Other term for lost-wax casting is called ___. Investment casting 44. Acid refractories are also called ___. Silica refractories 45. Defect that involves a cation vacancy-anion vacancy pair is called ___. Schottky defect 46. Chemical name of natural rubber is ___. Natural polyisoprene 47. Elastic behavior is also known as ___. Young’s modulus 48. A process in which the precipitate phase begins to form as finely dispersed particles of composition. Aging 49. The common name of phenol-formaldehyde is ___. Bakelite 51. The lowest density of all the structural metals. Magnesium 52. What are the steps in polymerization? Initiation, propagation termination ESSAYS 8. Ferrous alloys is one of the most useful engineering construction materials, why? Ferrous alloys are one of the most useful engineering construction materials due to their strength, ductility, malleability, and resistance to oxidation. They are also made up of iron as well as other metals such as chromium, manganese, nickel, molybdenum, vanadium, and tungsten. The addition of these metals increases the strength and corrosion resistance of the alloy significantly. Moreover, ferrous alloys can be cast into nearly any shape or size which makes them a great candidate for use in structural components like bridges, building frames, and transmission towers. The material also has high wear- resistance characteristics that make it ideal for automotive engine parts and industrial machinery. Its unique properties allow ferrous alloys to stay rust free during several years of service. In conclusion, ferrous alloys are an excellent choice for engineering projects where flexibility and strength are paramount. 12. Techniques in forming operation. In material science and engineering, forming operations involve methods used to shape materials into components. These can include techniques such as stamping, bending, spinning, rolling, or forging. Each technique has its own advantages and disadvantages
  • 3.
    that should beconsidered when deciding which method to use for a particular application. Stamping requires the least energy while spinning is well suited for producing complex parts with high accuracy. Rolling offers the potential for higher production volume but may not be suitable for small parts due to the heat generated during the process. Bending assists in creating uniform cross sections for larger parts requiring less machining. Finally, forging yields stronger shapes by compressing solidified metal due to repeated hammer blows or hydraulic pressure. When selecting one of these forming methods it is important to consider all the factors including cost, time, strength, complexity, and precision to ensure the optimal result. 16. Discuss the silica-alumina phase diagram. The silica-alumina phase diagram is used to determine the phase transformation behavior of materials composed of SiO2 and Al2O3. This phase diagram is particularly important for ceramics, glasses, steels, and other metal alloys as it can be used to determine melting points, solubility limits, solid solution ranges, and ceramic formation. At lower temperatures and pressures, cristobalite is formed; whereas the opposite produces crystalline quarts. Moreover, these kinds of diagrams are commonly used to study complexities related to sintering fires and glass melts as well as to understand different fracture modes from alumino-silicate glass. Aside from conventional uses, these diagrams are also applicable in various advanced materials applications such as fused silica for optical fibers and ultraviolet filters. 18. Annealing Heat Treatment. Annealing heat treatment is a process commonly used in material science and engineering that involves subjecting materials to a form of thermal processing. This process typically involves heating the material, holding it at a specific temperature for some time, and then slowly cooling it. The purpose of annealing heat treatment is to reduce hardness and stress within the material while allowing its structure to become softer and more pliable due to the rearrangement of grains or crystalline structures. By controlling the thermodynamic variables involved throughout the process, any given material can be uniquely tailored for improved properties such as increased malleability, hardness if desired, greater electrical resistance, or fatigue endurance. Annealing heat treatment is highly customizable but often results in improved physical strength, ductility, reduced brittleness, and lower scaling (oxidation) sensitivity. 33. Differentiate diamond and graphite. Diamond and graphite are both composed of carbon atoms but have different crystalline structures which results in distinct characteristics. Diamond is an allotrope of carbon with a strong, three dimensional structure with covalent bonds between atoms that make it very hard and resistant to scratches. On the other hand graphite has a flat structure consisting of layers of carbon sheets stacked on top of each other, linked via weak van der Waals forces allowing individual layers to be easily separated or cleaved. These properties result in graphite being much softer than diamonds. Due to its hardness and
  • 4.
    high refractive indexmaking it sparkle diamonds are highly valued for their aesthetic qualities and tend to be more expensive than graphite. Moreover, diamonds are used industrially for saw blades, drill bits, grinding wheels and engraving tools whereas graphite is mainly used as lubricants, pencil tips and electrodes. 37. Important points in the fabrication and processing of glasses. One of the most integral components of fabrication and processing for glasses used in material science and engineering is glass tempering, or thermal strengthening. This process involves heating glass to a temperature that causes it to become softer and can be followed up by quickly cooling the surface layer through forced air which then creates an increased compressive stress on the surface. The greater the differential between the tensile strength and compressive strength, the tougher the glass becomes and more resistant to damage from impacts or scratches. Additionally, during heat tempering treatments, the thickness of the glass can also be fine-tuned depending on how hot the equipment reaches. It is common to apply annealing steps at critically lower temperatures afterwards as well; this process simulates natural cooldowns that sometimes take place in raw materials. Other techniques include cutting, drilling, and polishing which are all equally important when taking into account the overall quality of the finished product. All in all, the fabrication and processing of glasses used in material science and engineering is highly complex and requires multiple specialized processes depending on the desired outcome. 41. Criteria of a polymer to be elastomeric. A polymer can be classified as an elastomeric based on its ability to bounce back to its original shape and size when subjected to force. Elastomers are materials similar to rubber which normally do not have a permanent set even after the applied force is removed, allowing for them to be stretched up to five times their original length. Furthermore, elastomers generally exhibit viscoelastic characteristics between solids and fluids by simultaneously possessing both viscous behavior over time and elastic behavior in the short-term. To further classify a material as an elastomer it must also possess significant hysteresis, low stress relaxation at higher temperatures, high resilience and effective use of energy absorption during deformation or shock in order to ensure that good quality performance will remain. 43. Discuss glass transition temperature. The glass transition temperature is used in material science and engineering to denote the temperature at which a material undergoing adjustment changes abruptly from its hardened state into an organic or rubbery state. It is also referred to as the critical temperature, where objects become very soft and pliable when heated above it. This occurs due to the unfavorable internal structure of the molecules in the material that cannot handle any more energetically costly dislocations or crystal defects before the point of melting. The amount of energy needed in order for this to happen increases
  • 5.
    drastically with increasingtemperature, resulting in a sudden change of properties just before reaching the melting point. 50. Extraordinary characteristics of ultra-high-molecular-weight polyethylene. Ultra-high-molecular-weight polyethylene (UHMWPE) is a material commonly used in the engineering and materials sciences. It has remarkable properties, including superior abrasion resistance, dimensional stability, chemical inertness, and low coefficient of friction. UHMWPE also has impressive tensile strength; it can be stronger than steel by weight while having lower densities than most plastics. Its unique combination of mechanical, thermal and chemical resistance characteristics make it highly attractive for industrial applications. Useful products such as gears, bearing, rollers and washer are commonly produced from this resilient material. UHMWPE even has useful application in medical devices like hip replacements which requires high wear performance. In conclusion, UHMWPE offers an array of advantages making it one of the most widely used engineering plastics in the industry today. 53. Techniques in casting. Casting is one of the oldest techniques on record used in material science and engineering. It consists of pouring a molten metal into a prepared mold and allowing the metal to cool, forming a shape which takes the exact form of the inside of the mould. The process can produce parts with complex shapes that would be difficult or impossible to create using other processes. Casting also allows for rapid creation of components without additional machining, making it useful when production speed is of the essence. Additionally, casting does not require excessive use of energy resources, which is beneficial for sustainability reasons. Finally, because materials can be mixed during the molten stage, cast components have superior homogeneity in their composition compared to mechanical working methods.