Presented to the Ottawa Public Library Board
                           November 18, 2011
            Presented by Denise Vaillancourt
                     City Librarian and CEO
Presentation Agenda
 Quick recap of events so far
 Site selection update
 New Building Project Proposal
    Objective
    Budget
    Scope
    Milestones
    RFP elements
 Closing Remarks
The Project Vision


An Extraordinary Building – Uniting a
        Vibrant Community!
The Journey So Far
 City of Ottawa’s Long Range Plan in 2006 includes the
  new central library as an unfunded project
 In 2007 the OPL board approves the New Central
  Library Detailed Functional Program
 City approves $26M in 2009 for land acquisition for
  new library site
 In 2010, the city begins to acquire land on selected site
  and continues into 2011
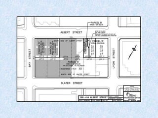
Site Selection Update
   In 2010 the city is able to purchase 2 of the lots
   Beginning of 2011 the third lot is purchased
   In October of 2011 the fourth and final lot is purchased
   Site is secured and final occupancy date for negotiated
    purchases is Dec 31 2011
Site location:
Objective of the Project
 Build a new City of Ottawa Library that incorporates
 the key planning concepts and functional programs
 elaborated in the New Central Library Project.
New Building Project Proposal
Key planning concepts

Create an Urban Focal Point   Include a Community Forum
Development
                              Create a Destination for
Anticipate a Highly Active    Children and one for Teens
Building
                              Include Unique Interior Spaces
Establish a Major Cultural
Destination                   Include Sustainable Building
                              Systems and Operations
User Friendly Services
                              Build in Flexibility
Highlights of Functional Program
        Spaces                 Functions             Learning Centres

• Concourse, Meeting     • Community Library      • Languages and
  Rooms, and Ancillary   • Technology,              Literacy
  Services                 Communications         • Business and Careers
• City of Ottawa           and Digital Services   • Local History and
  Heritage Gateway       • Administrative           Genealogy
• Welcome Centre           Services
• Children’s Services    • Materials Handling
• Teen Zone                and Operations
• Fiction, Newspapers
  and Magazines          • Leasable Space
Detailed Numbers
 Building Gross Area:    325,000 square feet
   Future Expansion:     22,500 square feet
   Number of Levels:     one sub-grade, ground floor
                          and four additional
   Parking Area On-Site: 300 underground spaces
   Exterior Space Area:  12,500 square feet
                          extensively developed
Project Budget
 $27.4M Land Acquisition
 $135M New Library Building
    Construction Costs
        Program Areas
        Building Gross up
        Building Shell
        Allowance for Leeds (silver) (3%)
        General Requirements and Profit (10%)
        Design and Pricing allowance (10%)
        Construction allowance
        Ancillaries and Soft Costs (20%)
        Art Component (1%)
Project Budget (cont.)
    Site Development and Site Services
      Parking
      Hardscape Area with Café/Outdoor patio
      Service Area
      Softscape



 Total Library Building Project Budget:
  $180M
Cost Breakdown
              Description                  Cost
—
Program Areas                             $31,880,891
—
Building Gross up                          $3,566,624
—
Building Shell                            $46,603,675
—
Allowance for Leeds (silver) (3%)          $8,205,118
—
Design and Pricing allowance (10%)         $8,205,118
—
Construction allowance                     $4,102,560
—
Ancillaries and Soft Costs (20%)          $16,410,237
— Component (1%)
Art                                          $820,512
—
Parking                                   $14,842,800
—
Hardscape Area with Café/Outdoor patio       $306,900
—
Service Area                                  $78,120
—
Softscape                                     $27,900
Total Construction                       $135,050,456
HST 13%                                   $17,556,559
Land Acquisition                          $27,392,985
Total Project Cost                       $180,000,000
New City of Ottawa
                     Central Library Project Timelines

Nov 30, 2011                         July 30, 2012
  Project       May 15, 2012                       Spring 2013                              Fall 2014
                                     Construction
 Approval         Design                              RF S                               Library Opens
                                       Drawings
                Presentation                       Public Art



      Dec      Mar     Jun     Sep      Dec     Mar    Jun       Sep   Dec   Mar   Jun     Se
                                                                                           p

         2012                            2013                          2014
     March, 2012
     Architectural       Aug 15, 2012                                                    Sept, 2014
    Design Services        Ground                                                         Building
                          Breaking                                                       Completion
               May 15, 2012
                 Design
               Presentation
RFP Elements
Project Visibility and Updates
 Project Updates Available in Real-Time via Web-Cam


http://www.earthcam.com/client/NewCentralLibrary/
Salt Lake City Public Library
Vancouver Public Library
ISI 6100 Presentation
ISI 6100 Presentation
ISI 6100 Presentation
ISI 6100 Presentation
ISI 6100 Presentation

ISI 6100 Presentation

  • 1.
    Presented to theOttawa Public Library Board November 18, 2011 Presented by Denise Vaillancourt City Librarian and CEO
  • 2.
    Presentation Agenda  Quickrecap of events so far  Site selection update  New Building Project Proposal  Objective  Budget  Scope  Milestones  RFP elements  Closing Remarks
  • 3.
    The Project Vision AnExtraordinary Building – Uniting a Vibrant Community!
  • 4.
    The Journey SoFar  City of Ottawa’s Long Range Plan in 2006 includes the new central library as an unfunded project  In 2007 the OPL board approves the New Central Library Detailed Functional Program  City approves $26M in 2009 for land acquisition for new library site  In 2010, the city begins to acquire land on selected site and continues into 2011
  • 5.
    Site Selection Update  In 2010 the city is able to purchase 2 of the lots  Beginning of 2011 the third lot is purchased  In October of 2011 the fourth and final lot is purchased  Site is secured and final occupancy date for negotiated purchases is Dec 31 2011
  • 7.
  • 10.
    Objective of theProject  Build a new City of Ottawa Library that incorporates the key planning concepts and functional programs elaborated in the New Central Library Project.
  • 11.
    New Building ProjectProposal Key planning concepts Create an Urban Focal Point Include a Community Forum Development Create a Destination for Anticipate a Highly Active Children and one for Teens Building Include Unique Interior Spaces Establish a Major Cultural Destination Include Sustainable Building Systems and Operations User Friendly Services Build in Flexibility
  • 12.
    Highlights of FunctionalProgram Spaces Functions Learning Centres • Concourse, Meeting • Community Library • Languages and Rooms, and Ancillary • Technology, Literacy Services Communications • Business and Careers • City of Ottawa and Digital Services • Local History and Heritage Gateway • Administrative Genealogy • Welcome Centre Services • Children’s Services • Materials Handling • Teen Zone and Operations • Fiction, Newspapers and Magazines • Leasable Space
  • 13.
    Detailed Numbers  BuildingGross Area: 325,000 square feet  Future Expansion: 22,500 square feet  Number of Levels: one sub-grade, ground floor and four additional  Parking Area On-Site: 300 underground spaces  Exterior Space Area: 12,500 square feet extensively developed
  • 14.
    Project Budget  $27.4MLand Acquisition  $135M New Library Building  Construction Costs  Program Areas  Building Gross up  Building Shell  Allowance for Leeds (silver) (3%)  General Requirements and Profit (10%)  Design and Pricing allowance (10%)  Construction allowance  Ancillaries and Soft Costs (20%)  Art Component (1%)
  • 15.
    Project Budget (cont.)  Site Development and Site Services  Parking  Hardscape Area with Café/Outdoor patio  Service Area  Softscape  Total Library Building Project Budget: $180M
  • 16.
    Cost Breakdown Description Cost — Program Areas $31,880,891 — Building Gross up $3,566,624 — Building Shell $46,603,675 — Allowance for Leeds (silver) (3%) $8,205,118 — Design and Pricing allowance (10%) $8,205,118 — Construction allowance $4,102,560 — Ancillaries and Soft Costs (20%) $16,410,237 — Component (1%) Art $820,512 — Parking $14,842,800 — Hardscape Area with Café/Outdoor patio $306,900 — Service Area $78,120 — Softscape $27,900 Total Construction $135,050,456 HST 13% $17,556,559 Land Acquisition $27,392,985 Total Project Cost $180,000,000
  • 17.
    New City ofOttawa Central Library Project Timelines Nov 30, 2011 July 30, 2012 Project May 15, 2012 Spring 2013 Fall 2014 Construction Approval Design RF S Library Opens Drawings Presentation Public Art Dec Mar Jun Sep Dec Mar Jun Sep Dec Mar Jun Se p 2012 2013 2014 March, 2012 Architectural Aug 15, 2012 Sept, 2014 Design Services Ground Building Breaking Completion May 15, 2012 Design Presentation
  • 18.
  • 20.
    Project Visibility andUpdates Project Updates Available in Real-Time via Web-Cam http://www.earthcam.com/client/NewCentralLibrary/
  • 22.
    Salt Lake CityPublic Library
  • 26.