M
CLEOD
ROAD
ERF 144
ERF 176
ERF 145
pool break-pressure
tank
sump
falls
falls
falls
driveway
exist. sewer manhole
MAINROAD
re 7
58 330 site boundary
24530siteboundary6
138
site
boundary
33 220 site boundary
3743siteboundary
site boundary
MCLEOD ROAD
CROSSMOOR
TEL./FAX. 031-4093357
MOBILE: 082 3227362
375 CROSSMOOR DRIVE
CHATSWORTH . DURBAN . 4092
PR.NO. ST-20559 (S.A.C.A.P)
DRAWN
PROJECT NO
DRAWING NO
DATE
DESIGN
SCALE
r a j e s h
ASHARAM
A R C H I T E C T U R E
1:100
Y.SEWPERSAD
070411
1/3
CHECKED
Author/ Architect
Drawing Title
R. ASHARAM
R. ASHARAM
SITE PLAN
21 APRIL 2012
CONTRACTOR TO ENSURE THAT NO CHANGES IN
LEVELS ARE MADE OVER LOCAL AUTHORITY
SERVITUDES OR UNDER GROUND SERVICES UNLESS
PERMISSION HAS BEEN GIVEN IN WRITING BY
THE LOCAL AUTHORITY.
ANY DISCREPANCIES AND OMISSIONS ARE TO BE
BROUGHT TO THE ARCHITECTS ATTENTION
IMMEDIATELY.
IF ON EXCAVATION THE SITE IS FOUND TO
CONTAIN EXPANSIVE CLAY, SHALE, GROUND WATER
OR OTHER SUSPECT SOIL CONDITIONS : THEN ALL
FOUNDATIONS ARE TO BE BUILT TO PROFESSIONAL
ENGINEERS DETAILS & UNDER HIS SUPERVISION.
ROOF NOTES
ROOF TILES TO MATCH EXISTING HOUSE ON
38 BY 38 BATTENS ON 250 MICRON
UNDERLAY ON NAIL PLATED TIMBER TRUSSES
DESIGNED AND CERTIFIED BY ENGINEERS
WITH 17 degree PITCH UNLESS OTHERWISE
SPECIFIED TO MATCH EXISTING HOUSE
AT 740 CENTRES WITH TRUSSES FIXED
USING GALVANISED HOOP IRON TIED DOWN
SIX COURSES INTO BRICKWORK
DRAINAGE NOTES
- ALL WORK IS TO COMPLY TO SABS 0400
- HEAD OF DRAIN IS TO BE VENTED
- ANY DAMAGED FITTINGS TO BE REPLACED
- ALL GULLEY SURROUNDS & MANHOLE
COVERS TO BE 75 mm ABOVE GROUND LEVEL
- SEWER CAN TO BE EXPOSED BEFORE
COMMENCING WORK
- IE 'S TO ALL BENDS AND JUNCTIONS
- SOIL PIPES TO BE 110 diameter PVC
- SEWER UNDER BUILDINGS TO BE
110 mm UPVC RIBBED PIPE
- ANCHOR BLOCKS TO BE USED WHEN
GRADIENTS EXCEED 1:5
GENERAL NOTES
ALL WORK TO COMPLY WITH SABS 0400.
CORNER BEACONS TO BE LOCATED AND
EXPOSED BEFORE WORK ON SITE COMMENCES.
CONTRACTOR TO CHECK ALL DIMENSIONS AND
LEVELS (SCHEDULES AND DETAILS) BEFORE THE
RELEVANT WORK IS PLACED IN HAND AND REPORT
ANY DISCREPANCIES TO THE ARCHITECT.
ALL WRITTEN DIMENSIONS TO BE TAKEN IN
PREFERENCE TO SCALING.
SOIL TO BE WELL COMPACTED BEHIND IN LAYERS
NOT EXCEEDING 150 mm.
ALL FOUNDATIONS TO BE TAKEN BELOW NATURAL
GROUND LEVEL.
NO BACK FILLING OF OVER EXCAVATED AREAS WILL
BE PERMITTED.
THE CONTRACTOR IS TO INSPECT THE OFFICIAL
APPROVED COPIES OF THE DRAWINGS TO ENSURE
THAT ALL AMENDMENTS HAVE BEEN TAKEN INTO
ACCOUNT .
THE ATTENTION OF THE OWNER/CONTACTOR
IS DRAWN TO THE FACT THAT CHANGERS TO THE PLAN
&/OR SPECIFICATION AFTER OFFICIAL APPROVAL
IS LIKELY TO INVALIDATE THAT APPROVAL.
ALL EARTHWORKS TO BE CONTAINED WITHIN SITE
BOUNDARIES & WITHIN 1.0 m OF ANY of ANY BOUNDARY.
BANKS TO BE CUT AT A MAXIMUM OF 26 degrees.
NATURAL GROUND LINE IN APPROXIMATE POSITION
ONLY & NO CLAIM CAN BE MADE FOR ANY DISCREPANCIES
ONSITE.
FLASHING TO COMPLY WITH PART LL5.
SUBFLOOR GROUND AND FOUNDATION TRENCHESTO
BE POISED WITH "CLORODANE"
SOLUTION IN ACCORDANCE WITH SABS CODES OF
PRACTICE BY SPECIALIST.
MECHANICAL VENTILATION
HABITAL AREAS (EXCLUDES KITCHENS)
FRESH AIR TO BE SUPPLIED AT A RATE OF 7,5
L/S/PERSON. AIR TO BE EVENLY DISTRIBUTED
THROUGHOUT ALL HABITAL AREAS AND VELOCITY IS
NOT TO EXCEED 0,5 M/S.
KITCHENS - FRESH AIR TO BE SUPPLIED AT A RATE OF
17,5 L/S/PERSON (COMMERCIAL)
WATER CLOSETS - AIR TO BE EXTRACTED TO EXTERNAL
AT A RATE OF 20 L/S PER FITMENT
FIRE NOTES
ALL SIGNAGE TO COMPLY WITH PART TT29 OF N.B.R.
FIRE EXTINGUISHERS TO COMPLY WITH PART TT27 N.B.R.
FIRE HOSE REELS TO COMPLY WITH PART TT17 N.B.R.
FIRE DOOR IS TO BE 40mm THICK WITH MIN 25mm REBATES & SELF CLOSING
MECHANISM.
FIRE ESCAPE DOORS TO BE FITTED WITH EMERGENCY LOCKS - PART TT17/19
N.B.R.
EMERGENCY LIGHTS TO COMPLY WITH PART TT30 N.B.R.
FIRE ESCAPE STAIRS TO COMPLY WITH PART TT24 N.B.R.
ROOF ASSEMBLY AND COVERINGS TO COMPLY WITH PART TT12 N.B.R.
POOL NOTES
EARTH LEAKAGE PROTECTION TO FIT ELECTRICAL SUPPLY
PRECAUTION TO BE TAKEN IN REGARD TO CONDENSATION
FLOODING SEEPAGE AND RAINWATER IN A SUNKEN PUMP
CHAMBER AND FILTER UNIT
POOL TO BE FENCED IN ACCORDANCE WITH N.B.R. D41-2-3 BY
OWNER
EXCESS SOIL TO BE SPREAD ON SITE
100mm GUNITE TO BE MONOLLITHCALLY PLACED AGAINST
UNDISTURBED SOIL OR OTHER FIRM SURFACE AS ERECTED BY
THE ENGINEER
25mm IS REQUIRED AS MINIMUM COVER TO ALL REINFORCING
MEMBERS. FINAL POSITION OF POOL PUMP TO BE DETERMINED
ON SITE ON DAY OF SET-OUT. WASTE WATER TO BE DIRECTED
TO EXISTING SEWER LINE VIA BREAK PRESSURE TANK
Project
CLIENTS SIGNATURE
DATE
TR
U
E
N
O
R
TH
strongsummerwinds
winterrain&winds
sun
rise
sun
set
PROPOSED DWELLING
ON
LOT 144 QUEENSBURGH
AT
794 MAIN ROAD
FOR
D & R DHANILAL
BOUNDARY WALL - to comply
with part k - schedule 1 of nbr.
2 000 building line
7500buildingline
7 500 building line
7
500
building
line
m
unicipalwaterm
ains
re3 160mm pvc stormwater pipe
160mm pvc sewer pipe
swimming pool
PATIO
pool rim-flow tank
fullbore outlet
fullbore outlet
fullbore outlet
fullbore outletfullbore outlet
100.000
102.000
104.000
101.000
103.000
top of mh = 99.500
invert level = 98.000
top of tarmac (road) = 98.900
top of tarmac (road) = 102.575
top of tarmac (road) = 103.000
A B
C
D
E
re4
re5
160mm pvc sewer pipe
re1
re2
ie
ie ie ie ie
ie
ie
pool safety fence with self-closing device
xx x x x x x x
1500
x
x
x
x
x
x
2920
3035
3035
3035
3035
3035
3035
3035
3035
2810 2920 2920 2920 2920 2920 2920 2920 2920
4000
3090
3090
3090
3090
3090
3090
3090
3090
3090
3090
3090
3090
6mROADWIDTH
6m VERGE
SITE PLAN scale 1 : 100
PATIO
PRIVATE
LOUNGE
guest wc
SCULLERY
KITCHEN
YARD
KITCHEN
DINING
GUEST
BEDROOM
GAMESROOM
WC
PRAYER
ROOM
up gas fire place
under stairwell
prep
water feature
GROUND FLOOR PLAN scale 1 : 100
SWIMMING POOL
GYMNASIUM
MASTER
BEDROOM
TV ROOM
BEDROOM 3
EN-SUITE
STUDY
PATIO
ATRIUM
double volumn
BEDROOM 4bath
shr
DRESSING
FIRST FLOOR PLAN
ENT. HALLGARAGE
PATIO
folding stack doors by
specialists
PATIO open to sky
pool rim-flow tank
WC
shr
230 1260 115 900
2270 230
115
4000 230 5000 230 1790 115 890 115 3600 230
4000 115 1380 115900
23047753000230
11516552302890
115
4995230
1200230346019952306000230
13460
2500 16200
2303500115284023030852302209
230 6000 230 2500 230 1270 5460 1270 2730 2280 230
22660
230
2385 115 3800 1015 115 4730 115 3685 230
3400 115 3215 6130 115 2985
2500 13920
23038451151615115230
37601159001154880
1200
230377011519051153865230
2268115
10230
230 2270 230 5000 230
2500 13920 2510
230
115
230
230
230230
230
230
D1
W17
W18
W4a
W2
W4b W6
W14
W15
W5
W19
W23
W7
W8
W1
W20 W21
D15
D16
D17
D13
D14
D7
D6
D8
D3
D2
D18
CROSSMOOR
TEL./FAX. 031-4093357
MOBILE: 082 3227362
375 CROSSMOOR DRIVE
CHATSWORTH . DURBAN . 4092
PR.NO. ST-20559 (S.A.C.A.P)
DRAWN
PROJECT NO
DRAWING NO
DATE
DESIGN
SCALE
r a j e s h
ASHARAM
A R C H I T E C T U R E
1:100
070411
2/3
CHECKED
Author/ Architect
Drawing Title
R. ASHARAM
R. ASHARAM
FLOOR PLANS/SECTION
Project
CLIENTS SIGNATURE
DATE
TR
U
E
N
O
R
TH
strongsummerwinds
winterrain&winds
sun
rise
sun
set
PROPOSED DWELLING
ON
LOT 144 QUEENSBURGH
AT
794 MAIN ROAD
FOR
D & R DHANILAL
D4
D5
D12
D19
D20
3500230
SECTION A-A scale 1 : 100
W10
W11W12
W13
W26
W22
W25
W27
WINDOW
NUMBER
WINDOW
SIZE GLAZING
W1, W7, W8, W19, W23 500X600 4mm CLEAR FLOAT GLASS
2000X2100
W10, W13, W26, W28 1500X2100
6mm TOUGHENED SAFETY
GLASS
W27 4000X2400
GLAZING SCHEDULE - TO COMPLY WITH
SANS10400 - 1990 (PART N GLAZING)
6mm TOUGHENED SAFETY
GLASS2600X2100W5
D1 with W14
600X2100
W30
6mm TOUGHENED SAFETY
GLASS
230 40002304000
KITCHEN DINING PATIO
TV ROOM
ATRIUM
double volume
PATIO
100mm thick concrete surface bed reinforced with
brc mesh - ref.100 on 250 microns plastic underlay
on poisoned soil
700x230mm concrete
strip footing
FGL
3315
748
6915
shr
CHANGE/
SHR AREA
2301800
1200
9030
2880
6460
ground floor level - 101.600
u/s wall plate level - 107.245
tos. first floor level - 104.525
u/s tie beam level - garage - 104.175
to architects detail
1500460
line of bwk to first floor
above
class B -fire door
fire wall to u/s roof
tiles
1500460
230
230
window at higher level
line of slab above
W24
W28
W30
W3
line of slab above
16420
2510
16420
6460
3730
6960 4460
SITE AREA - = 1 386 sq.m.
COVERAGE - 30% = 415.8sq.m.
F.A.R. - .3 = 415.8sq.m.
P R O P O S E D W O R K
GARAGE - 41.73 sq.m.
GROUND FLOOR - 173.38sq.m.
PATIO - 15.76sq.m.
-------------------
230.876sq.m.
FIRST FLOOR - 160.55sq.m.
PATIO - 29.846sq.m.
-----------------
190.398sq.m.
TOTAL PROPOSED WORK = 421.268sq.m.
TOTAL F.A.R 333.93 sq.m.
TOTAL COVERAGE 232.128sq.m.
SCHEDULE OF AREAS
POOL
101.500
100.000
170mm r.c slab (wood float) on orange hyperlastic
sheeting (sabs approved) on 450mm
consolidated fill to eng. details. ant poisoned
by specialist.
6000
1505
700
700
50001500115
A
A
1461
overflow tank lined with poolcrete to drain to pool
pump with sand trap of 75mm. sand stone tiling to
wall by specialists
1500
1500
750
NOTES
Safety glazing to be in accordance with SABS 0137-2000 code of practice -
the installation of glazing in buildings. Typical safety glazing materials are :
Toughened glass and laminated safety glass conforming to SABS 1263.
All Safety glass must be marked - if it is not marked, it is not safety glass
Where any bath enclosure or shower cubicle is constructed of glass, such
material must be glazed with safety glass.
scale 1 : 100
g
re1
re2
re3
re4
re5
160mm pvc sewer pipe
whb
WC
ie
ie ie ie
ie
ie
ie
svp
svp
svp
ie
svp
svp
svp
1289
pipe encased in slab to
be ribbed/ heavy duty pvc
up
patio floor level - 101.525
patio floor level - 104.425
W9
5110X300 4mm CLEAR FLOAT GLASS
W3 1500X900 4mm CLEAR FLOAT GLASS
W9, W24, W25, W29
6mm TOUGHENED SAFETY
GLASS
W11, W12 1995X2100
6mm TOUGHENED SAFETY
GLASS
6mm TOUGHENED SAFETY
GLASS
W16
W15, W16 1500X600 4mm CLEAR FLOAT GLASS
D18 with W22 2400X2100
6mm TOUGHENED SAFETY
GLASS
W29
1200X900W2,W4a, W4b, W6, W15, W17,
W20, W21
4mm CLEAR FLOAT GLASS
W17 2270X600
6mm TOUGHENED SAFETY
GLASS
W18 1800X1200 5mm CLEAR FLOAT GLASS
site boundary
NGL
NGL
3235
4460
r156 curved boundary wall.
900
265
1191
1191
100
186
412
338
1990
2720
2720
GLAZED
AREA(SQM)
500X600
2000X2100
1500X2100
4000X2400
2600X2100
600X2100
1500X900
1995X2100
1500X600
2400X2100
1200X900
2270X600
1800X1200
21 APRIL 2012
Y.SEWPERSAD
CROSSMOOR
TEL./FAX. 031-4093357
MOBILE: 082 3227362
375 CROSSMOOR DRIVE
CHATSWORTH . DURBAN . 4092
PR.NO. ST-20559 (S.A.C.A.P)
DRAWN
PROJECT NO
DRAWING NO
DATE
DESIGN
SCALE
r a j e s h
ASHARAM
A R C H I T E C T U R E
1:100
070411
3/3
CHECKED
Author/ Architect
Drawing Title
R. ASHARAM
R. ASHARAM
ELEVATIONS
Project
CLIENTS SIGNATURE
DATE
PROPOSED DWELLING
ON
LOT 144 QUEENSBURGH
AT
794 MAIN ROAD
FOR
D & R DHANILAL
N.E. ELEVATION scale 1 : 100
S.W. ELEVATION scale 1 : 100
S.E. ELEVATION scale 1 : 100
N.W. ELEVATION scale 1 : 100
FGL
ground floor level - 101.600
corbelled bwk & plaster bands
to architects detail
to architects detail -
1050m high wrought-iron balustrading
to architects detail
'Codova' roof tiles on 38x38 battens on 250 microns
plastic underlay on pre-fabricated trusses (gangnailed)
on 114x38mm wall plates tied down at least 8 courses
into brickwork
'Codova' roof tiles on 38x38 battens on 250 microns
plastic underlay on pre-fabricated trusses (gangnailed)
on 114x38mm wall plates tied down at least 8 courses
into brickwork
10mm tempered glass to frameless
folding stacking doors by specialists
to architects detail
to architects detail
to architects detail
to architects detail
500
600
500
R.E 2
R.E 3
i.e
dia 110mm upvc ribbed soil pipe at 1:44 gradient
corbelled bwk & plaster bands
to architects detail
smooth plaster & paint with plaster primer &
two coats finishing coat
i.e
dia 110mm upvc ribbed soil pipe at 1:48 gradient
R.E 1R.E 2
C.L. - 101.500
I.L. - 101.000
D. - 0.500
i.e
C.L. - 101.500
I.L. - 100.850
D. - 0.650
7 000
dia 110mm upvc ribbed soil pipe at 1:47 gradient
'Codova' roof tiles on 38x38 battens on 250 microns
plastic underlay on pre-fabricated trusses (gangnailed)
on 114x38mm wall plates tied down at least 8 courses
into brickwork
'Codova' roof tiles on 38x38 battens on 250 microns
plastic underlay on pre-fabricated trusses (gangnailed)
on 114x38mm wall plates tied down at least 8 courses
into brickwork
19100
site boundary
site boundary
stipple plaster and paint to
new feature beams with stepped
plastered coping to detail
BOUNDARY WALL
S. E. ELEVATION
340x340mm facebrick columns with 460x460mm
base - all to detail
p.c. moulding fixed to wall
to both sides
columns to arch. details
p.c. moulding fixed to wall
to both sides
ngl
2000
natural sandstone
tiling to detail
NGL
scale 1 : 100
2000
site boundary
site boundary
340x340mm facebrick columns with 460x460mm
base - all to detail
p.c. moulding fixed to wall
to both sides
columns to arch. details
p.c. moulding fixed to wall
to both sides
NGL
stipple plaster and paint to
new feature beams with stepped
plastered coping to detail
BOUNDARY WALL
N. E. ELEVATION scale 1 : 100
stipple plaster and paint to
new feature beams with stepped
plastered coping to detail
site boundary
site boundary
natural sandstone
tiling to detail
2000
p.c. moulding fixed to wall
to both sides
columns to arch. details
340x340mm facebrick columns with 460x460mm
base - all to detail
p.c. moulding fixed to wall
to both sides
BOUNDARY WALL
S. W. ELEVATION scale 1 : 100
i.e
C.L. - 99.500
I.L. - 98.000
D. - 1.500
svp
svp
g
i.ei.e
C.L. - 101.500
I.L. - 100.850
D. - 0.650
R.E 4
R.E 5
i.e
C.L. - 101.500
I.L. - 101.000
D. - 0.500 10700
C.L. - 101.160
I.L. - 100.660
D. - 0.500
dia 110mm upvc ribbed soil pipe at 1:50 gradient
R.E 5
i.e
i.e
25 000nts
C.L. - 101.500
I.L. - 100.350
D. - 1.150
1500
C.L. - 101.500
I.L. - 100.300
D. - 1.200
5800
dia 110mm upvc ribbed soil pipe at 1:3 gradient
CONNECTION MH
site boundary
340x340mm facebrick columns with 460x460mm
base - all to detail
p.c. moulding fixed to wall
to both sides
NGL
700x230mm conc. strip foundations
230mm thick wall with p.c. moulding fixed to wall
to both sides
TYPICAL SECTION THROUGH
BOUNDARY WALL scale 1 : 100
D12 D1 W14 W13
W10
D5
W29 W28 W27 W26
W6 W5 W4b W4a W2
W21 W20 W19 W18 W17
i.e
W8 W7
W24 W23 D18 W22
garage floor level - 101.500
tos. first floor level - 104.525
u/s tie beam level - garage - 104.175
u/s wall plate level - 107.245 u/s wall plate level - 107.245
2000
1800
tos. first floor level - 104.525
ground floor level - 101.600
W16 W15W1
W30
W3
W26
W9
ground floor level - 101.600
tos. first floor level - 104.525
u/s wall plate level - 107.245
u/s tie beam level - garage - 104.175
ground floor level - 101.600
tos. first floor level - 104.525
u/s wall plate level - 107.245
u/s tie beam level - garage - 104.175
garage floor level - 101.500
ground floor level - 101.260
C.L. - 101.160
I.L. - 100.660
D. - 0.500
C.L. - 101.160
I.L. - 100.386
D. - 0.774
ground floor level - 101.260 ground floor level - 101.260
ground floor level - 101.260
site boundary
site boundary
FGL
NGL
FGL
FGL
NGL
NGL
FGL FGL
FGL
FGL
NGL
NGL
NGL
NGL
21 APRIL 2012
Y.SEWPERSAD

House Dhanilal Submission

  • 1.
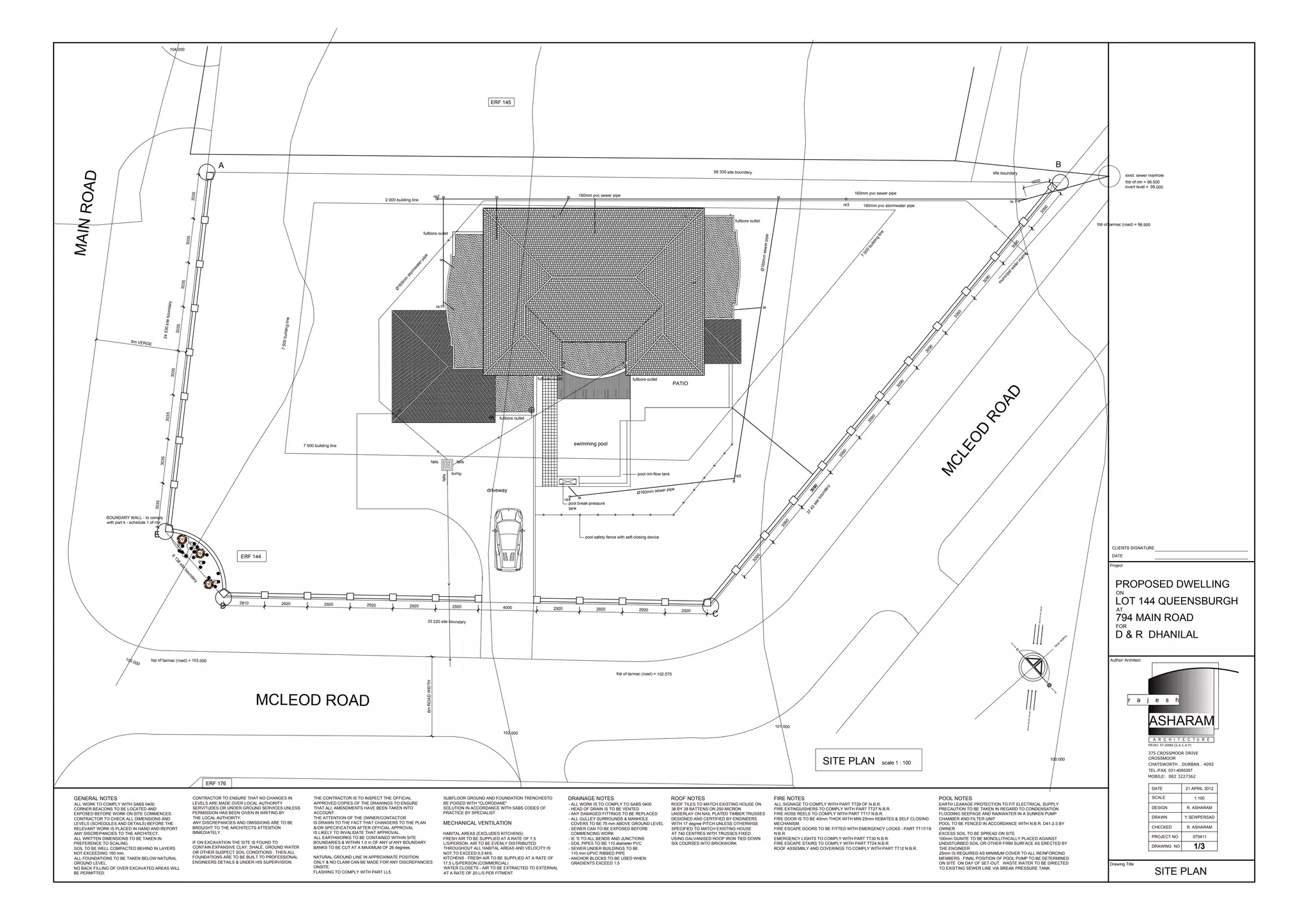
    M CLEOD ROAD ERF 144 ERF 176 ERF145 pool break-pressure tank sump falls falls falls driveway exist. sewer manhole MAINROAD re 7 58 330 site boundary 24530siteboundary6 138 site boundary 33 220 site boundary 3743siteboundary site boundary MCLEOD ROAD CROSSMOOR TEL./FAX. 031-4093357 MOBILE: 082 3227362 375 CROSSMOOR DRIVE CHATSWORTH . DURBAN . 4092 PR.NO. ST-20559 (S.A.C.A.P) DRAWN PROJECT NO DRAWING NO DATE DESIGN SCALE r a j e s h ASHARAM A R C H I T E C T U R E 1:100 Y.SEWPERSAD 070411 1/3 CHECKED Author/ Architect Drawing Title R. ASHARAM R. ASHARAM SITE PLAN 21 APRIL 2012 CONTRACTOR TO ENSURE THAT NO CHANGES IN LEVELS ARE MADE OVER LOCAL AUTHORITY SERVITUDES OR UNDER GROUND SERVICES UNLESS PERMISSION HAS BEEN GIVEN IN WRITING BY THE LOCAL AUTHORITY. ANY DISCREPANCIES AND OMISSIONS ARE TO BE BROUGHT TO THE ARCHITECTS ATTENTION IMMEDIATELY. IF ON EXCAVATION THE SITE IS FOUND TO CONTAIN EXPANSIVE CLAY, SHALE, GROUND WATER OR OTHER SUSPECT SOIL CONDITIONS : THEN ALL FOUNDATIONS ARE TO BE BUILT TO PROFESSIONAL ENGINEERS DETAILS & UNDER HIS SUPERVISION. ROOF NOTES ROOF TILES TO MATCH EXISTING HOUSE ON 38 BY 38 BATTENS ON 250 MICRON UNDERLAY ON NAIL PLATED TIMBER TRUSSES DESIGNED AND CERTIFIED BY ENGINEERS WITH 17 degree PITCH UNLESS OTHERWISE SPECIFIED TO MATCH EXISTING HOUSE AT 740 CENTRES WITH TRUSSES FIXED USING GALVANISED HOOP IRON TIED DOWN SIX COURSES INTO BRICKWORK DRAINAGE NOTES - ALL WORK IS TO COMPLY TO SABS 0400 - HEAD OF DRAIN IS TO BE VENTED - ANY DAMAGED FITTINGS TO BE REPLACED - ALL GULLEY SURROUNDS & MANHOLE COVERS TO BE 75 mm ABOVE GROUND LEVEL - SEWER CAN TO BE EXPOSED BEFORE COMMENCING WORK - IE 'S TO ALL BENDS AND JUNCTIONS - SOIL PIPES TO BE 110 diameter PVC - SEWER UNDER BUILDINGS TO BE 110 mm UPVC RIBBED PIPE - ANCHOR BLOCKS TO BE USED WHEN GRADIENTS EXCEED 1:5 GENERAL NOTES ALL WORK TO COMPLY WITH SABS 0400. CORNER BEACONS TO BE LOCATED AND EXPOSED BEFORE WORK ON SITE COMMENCES. CONTRACTOR TO CHECK ALL DIMENSIONS AND LEVELS (SCHEDULES AND DETAILS) BEFORE THE RELEVANT WORK IS PLACED IN HAND AND REPORT ANY DISCREPANCIES TO THE ARCHITECT. ALL WRITTEN DIMENSIONS TO BE TAKEN IN PREFERENCE TO SCALING. SOIL TO BE WELL COMPACTED BEHIND IN LAYERS NOT EXCEEDING 150 mm. ALL FOUNDATIONS TO BE TAKEN BELOW NATURAL GROUND LEVEL. NO BACK FILLING OF OVER EXCAVATED AREAS WILL BE PERMITTED. THE CONTRACTOR IS TO INSPECT THE OFFICIAL APPROVED COPIES OF THE DRAWINGS TO ENSURE THAT ALL AMENDMENTS HAVE BEEN TAKEN INTO ACCOUNT . THE ATTENTION OF THE OWNER/CONTACTOR IS DRAWN TO THE FACT THAT CHANGERS TO THE PLAN &/OR SPECIFICATION AFTER OFFICIAL APPROVAL IS LIKELY TO INVALIDATE THAT APPROVAL. ALL EARTHWORKS TO BE CONTAINED WITHIN SITE BOUNDARIES & WITHIN 1.0 m OF ANY of ANY BOUNDARY. BANKS TO BE CUT AT A MAXIMUM OF 26 degrees. NATURAL GROUND LINE IN APPROXIMATE POSITION ONLY & NO CLAIM CAN BE MADE FOR ANY DISCREPANCIES ONSITE. FLASHING TO COMPLY WITH PART LL5. SUBFLOOR GROUND AND FOUNDATION TRENCHESTO BE POISED WITH "CLORODANE" SOLUTION IN ACCORDANCE WITH SABS CODES OF PRACTICE BY SPECIALIST. MECHANICAL VENTILATION HABITAL AREAS (EXCLUDES KITCHENS) FRESH AIR TO BE SUPPLIED AT A RATE OF 7,5 L/S/PERSON. AIR TO BE EVENLY DISTRIBUTED THROUGHOUT ALL HABITAL AREAS AND VELOCITY IS NOT TO EXCEED 0,5 M/S. KITCHENS - FRESH AIR TO BE SUPPLIED AT A RATE OF 17,5 L/S/PERSON (COMMERCIAL) WATER CLOSETS - AIR TO BE EXTRACTED TO EXTERNAL AT A RATE OF 20 L/S PER FITMENT FIRE NOTES ALL SIGNAGE TO COMPLY WITH PART TT29 OF N.B.R. FIRE EXTINGUISHERS TO COMPLY WITH PART TT27 N.B.R. FIRE HOSE REELS TO COMPLY WITH PART TT17 N.B.R. FIRE DOOR IS TO BE 40mm THICK WITH MIN 25mm REBATES & SELF CLOSING MECHANISM. FIRE ESCAPE DOORS TO BE FITTED WITH EMERGENCY LOCKS - PART TT17/19 N.B.R. EMERGENCY LIGHTS TO COMPLY WITH PART TT30 N.B.R. FIRE ESCAPE STAIRS TO COMPLY WITH PART TT24 N.B.R. ROOF ASSEMBLY AND COVERINGS TO COMPLY WITH PART TT12 N.B.R. POOL NOTES EARTH LEAKAGE PROTECTION TO FIT ELECTRICAL SUPPLY PRECAUTION TO BE TAKEN IN REGARD TO CONDENSATION FLOODING SEEPAGE AND RAINWATER IN A SUNKEN PUMP CHAMBER AND FILTER UNIT POOL TO BE FENCED IN ACCORDANCE WITH N.B.R. D41-2-3 BY OWNER EXCESS SOIL TO BE SPREAD ON SITE 100mm GUNITE TO BE MONOLLITHCALLY PLACED AGAINST UNDISTURBED SOIL OR OTHER FIRM SURFACE AS ERECTED BY THE ENGINEER 25mm IS REQUIRED AS MINIMUM COVER TO ALL REINFORCING MEMBERS. FINAL POSITION OF POOL PUMP TO BE DETERMINED ON SITE ON DAY OF SET-OUT. WASTE WATER TO BE DIRECTED TO EXISTING SEWER LINE VIA BREAK PRESSURE TANK Project CLIENTS SIGNATURE DATE TR U E N O R TH strongsummerwinds winterrain&winds sun rise sun set PROPOSED DWELLING ON LOT 144 QUEENSBURGH AT 794 MAIN ROAD FOR D & R DHANILAL BOUNDARY WALL - to comply with part k - schedule 1 of nbr. 2 000 building line 7500buildingline 7 500 building line 7 500 building line m unicipalwaterm ains re3 160mm pvc stormwater pipe 160mm pvc sewer pipe swimming pool PATIO pool rim-flow tank fullbore outlet fullbore outlet fullbore outlet fullbore outletfullbore outlet 100.000 102.000 104.000 101.000 103.000 top of mh = 99.500 invert level = 98.000 top of tarmac (road) = 98.900 top of tarmac (road) = 102.575 top of tarmac (road) = 103.000 A B C D E re4 re5 160mm pvc sewer pipe re1 re2 ie ie ie ie ie ie ie pool safety fence with self-closing device xx x x x x x x 1500 x x x x x x 2920 3035 3035 3035 3035 3035 3035 3035 3035 2810 2920 2920 2920 2920 2920 2920 2920 2920 4000 3090 3090 3090 3090 3090 3090 3090 3090 3090 3090 3090 3090 6mROADWIDTH 6m VERGE SITE PLAN scale 1 : 100
  • 2.
    PATIO PRIVATE LOUNGE guest wc SCULLERY KITCHEN YARD KITCHEN DINING GUEST BEDROOM GAMESROOM WC PRAYER ROOM up gasfire place under stairwell prep water feature GROUND FLOOR PLAN scale 1 : 100 SWIMMING POOL GYMNASIUM MASTER BEDROOM TV ROOM BEDROOM 3 EN-SUITE STUDY PATIO ATRIUM double volumn BEDROOM 4bath shr DRESSING FIRST FLOOR PLAN ENT. HALLGARAGE PATIO folding stack doors by specialists PATIO open to sky pool rim-flow tank WC shr 230 1260 115 900 2270 230 115 4000 230 5000 230 1790 115 890 115 3600 230 4000 115 1380 115900 23047753000230 11516552302890 115 4995230 1200230346019952306000230 13460 2500 16200 2303500115284023030852302209 230 6000 230 2500 230 1270 5460 1270 2730 2280 230 22660 230 2385 115 3800 1015 115 4730 115 3685 230 3400 115 3215 6130 115 2985 2500 13920 23038451151615115230 37601159001154880 1200 230377011519051153865230 2268115 10230 230 2270 230 5000 230 2500 13920 2510 230 115 230 230 230230 230 230 D1 W17 W18 W4a W2 W4b W6 W14 W15 W5 W19 W23 W7 W8 W1 W20 W21 D15 D16 D17 D13 D14 D7 D6 D8 D3 D2 D18 CROSSMOOR TEL./FAX. 031-4093357 MOBILE: 082 3227362 375 CROSSMOOR DRIVE CHATSWORTH . DURBAN . 4092 PR.NO. ST-20559 (S.A.C.A.P) DRAWN PROJECT NO DRAWING NO DATE DESIGN SCALE r a j e s h ASHARAM A R C H I T E C T U R E 1:100 070411 2/3 CHECKED Author/ Architect Drawing Title R. ASHARAM R. ASHARAM FLOOR PLANS/SECTION Project CLIENTS SIGNATURE DATE TR U E N O R TH strongsummerwinds winterrain&winds sun rise sun set PROPOSED DWELLING ON LOT 144 QUEENSBURGH AT 794 MAIN ROAD FOR D & R DHANILAL D4 D5 D12 D19 D20 3500230 SECTION A-A scale 1 : 100 W10 W11W12 W13 W26 W22 W25 W27 WINDOW NUMBER WINDOW SIZE GLAZING W1, W7, W8, W19, W23 500X600 4mm CLEAR FLOAT GLASS 2000X2100 W10, W13, W26, W28 1500X2100 6mm TOUGHENED SAFETY GLASS W27 4000X2400 GLAZING SCHEDULE - TO COMPLY WITH SANS10400 - 1990 (PART N GLAZING) 6mm TOUGHENED SAFETY GLASS2600X2100W5 D1 with W14 600X2100 W30 6mm TOUGHENED SAFETY GLASS 230 40002304000 KITCHEN DINING PATIO TV ROOM ATRIUM double volume PATIO 100mm thick concrete surface bed reinforced with brc mesh - ref.100 on 250 microns plastic underlay on poisoned soil 700x230mm concrete strip footing FGL 3315 748 6915 shr CHANGE/ SHR AREA 2301800 1200 9030 2880 6460 ground floor level - 101.600 u/s wall plate level - 107.245 tos. first floor level - 104.525 u/s tie beam level - garage - 104.175 to architects detail 1500460 line of bwk to first floor above class B -fire door fire wall to u/s roof tiles 1500460 230 230 window at higher level line of slab above W24 W28 W30 W3 line of slab above 16420 2510 16420 6460 3730 6960 4460 SITE AREA - = 1 386 sq.m. COVERAGE - 30% = 415.8sq.m. F.A.R. - .3 = 415.8sq.m. P R O P O S E D W O R K GARAGE - 41.73 sq.m. GROUND FLOOR - 173.38sq.m. PATIO - 15.76sq.m. ------------------- 230.876sq.m. FIRST FLOOR - 160.55sq.m. PATIO - 29.846sq.m. ----------------- 190.398sq.m. TOTAL PROPOSED WORK = 421.268sq.m. TOTAL F.A.R 333.93 sq.m. TOTAL COVERAGE 232.128sq.m. SCHEDULE OF AREAS POOL 101.500 100.000 170mm r.c slab (wood float) on orange hyperlastic sheeting (sabs approved) on 450mm consolidated fill to eng. details. ant poisoned by specialist. 6000 1505 700 700 50001500115 A A 1461 overflow tank lined with poolcrete to drain to pool pump with sand trap of 75mm. sand stone tiling to wall by specialists 1500 1500 750 NOTES Safety glazing to be in accordance with SABS 0137-2000 code of practice - the installation of glazing in buildings. Typical safety glazing materials are : Toughened glass and laminated safety glass conforming to SABS 1263. All Safety glass must be marked - if it is not marked, it is not safety glass Where any bath enclosure or shower cubicle is constructed of glass, such material must be glazed with safety glass. scale 1 : 100 g re1 re2 re3 re4 re5 160mm pvc sewer pipe whb WC ie ie ie ie ie ie ie svp svp svp ie svp svp svp 1289 pipe encased in slab to be ribbed/ heavy duty pvc up patio floor level - 101.525 patio floor level - 104.425 W9 5110X300 4mm CLEAR FLOAT GLASS W3 1500X900 4mm CLEAR FLOAT GLASS W9, W24, W25, W29 6mm TOUGHENED SAFETY GLASS W11, W12 1995X2100 6mm TOUGHENED SAFETY GLASS 6mm TOUGHENED SAFETY GLASS W16 W15, W16 1500X600 4mm CLEAR FLOAT GLASS D18 with W22 2400X2100 6mm TOUGHENED SAFETY GLASS W29 1200X900W2,W4a, W4b, W6, W15, W17, W20, W21 4mm CLEAR FLOAT GLASS W17 2270X600 6mm TOUGHENED SAFETY GLASS W18 1800X1200 5mm CLEAR FLOAT GLASS site boundary NGL NGL 3235 4460 r156 curved boundary wall. 900 265 1191 1191 100 186 412 338 1990 2720 2720 GLAZED AREA(SQM) 500X600 2000X2100 1500X2100 4000X2400 2600X2100 600X2100 1500X900 1995X2100 1500X600 2400X2100 1200X900 2270X600 1800X1200 21 APRIL 2012 Y.SEWPERSAD
  • 3.
    CROSSMOOR TEL./FAX. 031-4093357 MOBILE: 0823227362 375 CROSSMOOR DRIVE CHATSWORTH . DURBAN . 4092 PR.NO. ST-20559 (S.A.C.A.P) DRAWN PROJECT NO DRAWING NO DATE DESIGN SCALE r a j e s h ASHARAM A R C H I T E C T U R E 1:100 070411 3/3 CHECKED Author/ Architect Drawing Title R. ASHARAM R. ASHARAM ELEVATIONS Project CLIENTS SIGNATURE DATE PROPOSED DWELLING ON LOT 144 QUEENSBURGH AT 794 MAIN ROAD FOR D & R DHANILAL N.E. ELEVATION scale 1 : 100 S.W. ELEVATION scale 1 : 100 S.E. ELEVATION scale 1 : 100 N.W. ELEVATION scale 1 : 100 FGL ground floor level - 101.600 corbelled bwk & plaster bands to architects detail to architects detail - 1050m high wrought-iron balustrading to architects detail 'Codova' roof tiles on 38x38 battens on 250 microns plastic underlay on pre-fabricated trusses (gangnailed) on 114x38mm wall plates tied down at least 8 courses into brickwork 'Codova' roof tiles on 38x38 battens on 250 microns plastic underlay on pre-fabricated trusses (gangnailed) on 114x38mm wall plates tied down at least 8 courses into brickwork 10mm tempered glass to frameless folding stacking doors by specialists to architects detail to architects detail to architects detail to architects detail 500 600 500 R.E 2 R.E 3 i.e dia 110mm upvc ribbed soil pipe at 1:44 gradient corbelled bwk & plaster bands to architects detail smooth plaster & paint with plaster primer & two coats finishing coat i.e dia 110mm upvc ribbed soil pipe at 1:48 gradient R.E 1R.E 2 C.L. - 101.500 I.L. - 101.000 D. - 0.500 i.e C.L. - 101.500 I.L. - 100.850 D. - 0.650 7 000 dia 110mm upvc ribbed soil pipe at 1:47 gradient 'Codova' roof tiles on 38x38 battens on 250 microns plastic underlay on pre-fabricated trusses (gangnailed) on 114x38mm wall plates tied down at least 8 courses into brickwork 'Codova' roof tiles on 38x38 battens on 250 microns plastic underlay on pre-fabricated trusses (gangnailed) on 114x38mm wall plates tied down at least 8 courses into brickwork 19100 site boundary site boundary stipple plaster and paint to new feature beams with stepped plastered coping to detail BOUNDARY WALL S. E. ELEVATION 340x340mm facebrick columns with 460x460mm base - all to detail p.c. moulding fixed to wall to both sides columns to arch. details p.c. moulding fixed to wall to both sides ngl 2000 natural sandstone tiling to detail NGL scale 1 : 100 2000 site boundary site boundary 340x340mm facebrick columns with 460x460mm base - all to detail p.c. moulding fixed to wall to both sides columns to arch. details p.c. moulding fixed to wall to both sides NGL stipple plaster and paint to new feature beams with stepped plastered coping to detail BOUNDARY WALL N. E. ELEVATION scale 1 : 100 stipple plaster and paint to new feature beams with stepped plastered coping to detail site boundary site boundary natural sandstone tiling to detail 2000 p.c. moulding fixed to wall to both sides columns to arch. details 340x340mm facebrick columns with 460x460mm base - all to detail p.c. moulding fixed to wall to both sides BOUNDARY WALL S. W. ELEVATION scale 1 : 100 i.e C.L. - 99.500 I.L. - 98.000 D. - 1.500 svp svp g i.ei.e C.L. - 101.500 I.L. - 100.850 D. - 0.650 R.E 4 R.E 5 i.e C.L. - 101.500 I.L. - 101.000 D. - 0.500 10700 C.L. - 101.160 I.L. - 100.660 D. - 0.500 dia 110mm upvc ribbed soil pipe at 1:50 gradient R.E 5 i.e i.e 25 000nts C.L. - 101.500 I.L. - 100.350 D. - 1.150 1500 C.L. - 101.500 I.L. - 100.300 D. - 1.200 5800 dia 110mm upvc ribbed soil pipe at 1:3 gradient CONNECTION MH site boundary 340x340mm facebrick columns with 460x460mm base - all to detail p.c. moulding fixed to wall to both sides NGL 700x230mm conc. strip foundations 230mm thick wall with p.c. moulding fixed to wall to both sides TYPICAL SECTION THROUGH BOUNDARY WALL scale 1 : 100 D12 D1 W14 W13 W10 D5 W29 W28 W27 W26 W6 W5 W4b W4a W2 W21 W20 W19 W18 W17 i.e W8 W7 W24 W23 D18 W22 garage floor level - 101.500 tos. first floor level - 104.525 u/s tie beam level - garage - 104.175 u/s wall plate level - 107.245 u/s wall plate level - 107.245 2000 1800 tos. first floor level - 104.525 ground floor level - 101.600 W16 W15W1 W30 W3 W26 W9 ground floor level - 101.600 tos. first floor level - 104.525 u/s wall plate level - 107.245 u/s tie beam level - garage - 104.175 ground floor level - 101.600 tos. first floor level - 104.525 u/s wall plate level - 107.245 u/s tie beam level - garage - 104.175 garage floor level - 101.500 ground floor level - 101.260 C.L. - 101.160 I.L. - 100.660 D. - 0.500 C.L. - 101.160 I.L. - 100.386 D. - 0.774 ground floor level - 101.260 ground floor level - 101.260 ground floor level - 101.260 site boundary site boundary FGL NGL FGL FGL NGL NGL FGL FGL FGL FGL NGL NGL NGL NGL 21 APRIL 2012 Y.SEWPERSAD