Move It, Buster!
        Planning for
  Non-Contiguous Clustering
       in New Jersey

Development Transfer Case Study
     Mount Olive Township,
       Morris County, NJ

           Prepared by Banisch Associates, Inc.
111 Main Street, Flemington, New Jersey 08822     908 782 0835
Non-Contiguous Parcel Clustering in NJ
 First authorized in 1996, it allows a
  municipality to approve “planned
  developments” consisting of two or more
  different parcels
 Allows one parcel to be preserved while its
  density is transferred and developed on a
  different, noncontiguous parcel.
 Requires no calculation of the transferable
  development potential of multiple-owner
  sending areas and receiving areas.
Non-Contiguous Parcel Clustering in NJ
 Development rights from the sending
  parcel(s) are transferred to and combined
  with the development rights at the receiving
  parcel(s).
 Receiving parcel is developed at a higher
  than otherwise permitted while sending parcel
  is preserved, for example, as farmland or
  open space.
 Noncontiguous parcel clustering is simpler
  than TDR involving only a few, or even two,
  parcels.
Transfer of Development Rights in New Jersey
  Municipal Land Use Law Article 15.

40:55D-113 Burlington County Transfer of Development Rights Demonstration Act.
40:55D-114 Legislative findings.
40:55D-115 Definitions.
40:55D-116 Transfer of development programs; Office of State Planning assistance.
40:55D-117 Preparation for ordinance adoption.
40:55D-118 Sending and receiving zones.
40:55D-119 Recordation of permitted uses; effect of use variances.
40:55D-120 Submission to county board, Pinelands Commission.
40:55D-121 County board’s responsibility; Office of State Planning review.
40:55D-122 Recordation; tax assessment.
40:55D-123 Review by municipal agencies.
40:55D-124 Repeal of ordinance.
40:55D-125 Development Transfer Bank.
40:55D-125.1Solid waste facility buffer zone; definitions.
40:55D-126 Development easement.
40:55D-127 Equitable interests.
40:55D-128 Farm benefits.
40:55D-129 Annual report.
Residential Cluster Definition
per N.J.S.A. 40:55d-7:
 “Residential cluster” means a contiguous or
  noncontiguous area to be developed as a
  single entity according to a plan containing
  residential housing units which have a
  common or public open space area as an
  appurtenance.
Planned Developments
     (N.J.S.A. 40:55D-65c)
c. Provide districts for planned developments; provided that an ordinance providing for
approval of subdivisions and site plans by the planning board has been adopted and
incorporates therein the provisions for such planned developments in a manner consistent
with article 6 of P.L.1975, c.291 (C.40:55D-37 et seq.). The zoning ordinance shall establish
standards governing the type and density, or intensity of land use, in a planned development.
Said standards shall take into account that the density, or intensity of land use, otherwise
allowable may not be appropriate for a planned development. The standards may vary the
type and density, or intensity of land use, otherwise applicable to the land within a planned
development in consideration of the amount, location and proposed use of open space; the
location and physical characteristics of the site of the proposed planned development; and the
location, design and type of dwelling units and other uses. Such standards may provide for
the clustering of development between noncontiguous parcels and may, in order to
encourage the flexibility of density, intensity of land uses, design and type, authorize a
deviation in various clusters from the density, or intensity of use, established for an entire
planned development. The standards and criteria by which the design, bulk and location of
buildings are to be evaluated shall be set forth in the zoning ordinance and all standards and
criteria for any feature of a planned development shall be set forth in such ordinance with
sufficient certainty to provide reasonable criteria by which specific proposals for planned
development can be evaluated.
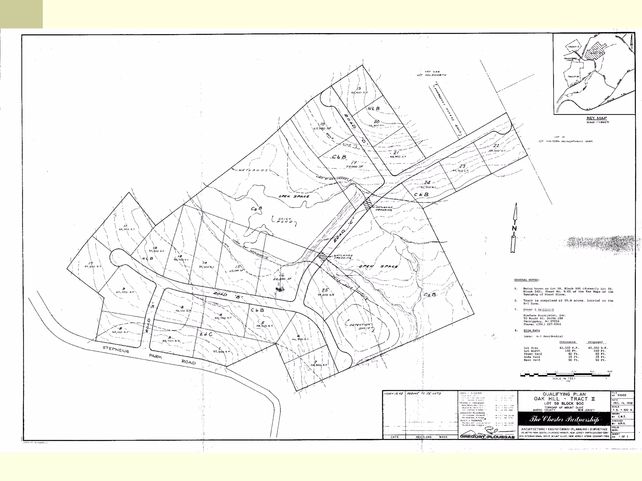
Mount Olive Township
          Morris County, NJ
 Project Name: Newfane Associates, Inc.
 Nature of Application: Residential Major
  Subdivision
 Date initiated: March 1993
 Description of parcels:
   Lot 32: 28.91 acres
   Lot 59: 55.40 acres
   Lot 36: 86.85 ac.
 Conventional Zoning: residential one acre lot
  requirement
Newfane Proposal
 Transfer eligible qualifying density from Lot
  59 to Lots 32 and 36.
 Develop Lots 32 and 36 as a 104-lot
  residential cluster (20,000 sq. ft. lots served
  by central water and sanitary sewerage).
 Dedicate Lot 59 to the Township for open
  space and/or active recreation use.
Step 1: Qualifying Map
          to determine total density
 Conventional layout qualifying map based on
  one-acre lots for all three tracts to determine
  total dwelling unit yield
     Includes streets, stormwater basins, protected
      critical slopes and freshwater wetlands
     Detailed engineering not provided at this step
     Result: Total of 109 residential lots (ultimately
      reduced to a total of 104 residential lots)
Step 2: Planning Board Approves Density

  A slightly modified overall density of 104
   residential lots was established on the
   qualifying map
        Lot 32 : 20 residential lots

        Lot 59 : 25 residential lots

        Lot 36 : 59 residential lots
Step 3: Submission to Township Council
      for open space consideration
 Planning Board reported to the Township Council -
  evaluated the proposed open space dedication per
  standards
 Township Council approval required developer to:
      provide water and sewer to open space lot if required by
       Township
      secure any/all permits from NJDEP on open space lot
      provide $75,000 cash contribution within 6 months of filing
       final subdivision plats to improve open space lot for active
       recreational use
      submit title insurance policy in the amount equivalent to fair
       market value of property
Step 4: Planning Board hearings on
    Preliminary Major Subdivision
 Preliminary Major Subdivision approved (103 residential lots)
   with stipulation:
     “The transfer of development credits will occur
       simultaneously with the first final subdivision approval of a
       part, if this project is phased, or final approval of the entire
       project, if it is not.”
 Conditions on   developer regarding Lot 59 open space lot:
       convey Lot 59 to the Township within 60 days of filing of
        plats
       cash contribution of $75,000 for recreational use (payment
        in stages linked to CO’s)
       secure NJDEP Letter of Interpretation for Lot 59
       off-site road improvements
Step 5: Planning Board hearings on
          Final Major Subdivision
 Planning Board approved Final Major Subdivision for
  project (known as Oak Hill I and II) and the transfer of
  development credits from Lot 59 to other tracts.
Pros and Cons of
        Noncontiguous Clustering
Pros
 Easy to set up. Does not require detailed
  investigations required for TDR
 Can be designed to reward preservation of targeted
  properties
Cons
 Not a true development transfer program, since no
  sending and receiving areas are designated
 If it does appear to be TDR-like, it may run afoul of
  the lawful use of TDR in NJ.
 Ad hoc planning, not a comprehensive policy
  response.
Noncontiguous Clustering
                    Handle with Care…
 Without linkage to local goals and policies,
    noncontiguous clustering can actually interfere with
    planning and zoning objectives
   With too much linkage, it may appear as TDR
   However, targeting for desired results can be a viable
    strategy
   For instance, allowing noncontiguous clustering only
    where the preserved lands are targeted for
    preservation.
   In this way, farmland, parkland, greenways or other
    desired preservation can be advanced

Nj future non contiguous clustering 11-7-12 banisch

  • 1.
    Move It, Buster! Planning for Non-Contiguous Clustering in New Jersey Development Transfer Case Study Mount Olive Township, Morris County, NJ Prepared by Banisch Associates, Inc. 111 Main Street, Flemington, New Jersey 08822 908 782 0835
  • 2.
    Non-Contiguous Parcel Clusteringin NJ  First authorized in 1996, it allows a municipality to approve “planned developments” consisting of two or more different parcels  Allows one parcel to be preserved while its density is transferred and developed on a different, noncontiguous parcel.  Requires no calculation of the transferable development potential of multiple-owner sending areas and receiving areas.
  • 3.
    Non-Contiguous Parcel Clusteringin NJ  Development rights from the sending parcel(s) are transferred to and combined with the development rights at the receiving parcel(s).  Receiving parcel is developed at a higher than otherwise permitted while sending parcel is preserved, for example, as farmland or open space.  Noncontiguous parcel clustering is simpler than TDR involving only a few, or even two, parcels.
  • 4.
    Transfer of DevelopmentRights in New Jersey Municipal Land Use Law Article 15. 40:55D-113 Burlington County Transfer of Development Rights Demonstration Act. 40:55D-114 Legislative findings. 40:55D-115 Definitions. 40:55D-116 Transfer of development programs; Office of State Planning assistance. 40:55D-117 Preparation for ordinance adoption. 40:55D-118 Sending and receiving zones. 40:55D-119 Recordation of permitted uses; effect of use variances. 40:55D-120 Submission to county board, Pinelands Commission. 40:55D-121 County board’s responsibility; Office of State Planning review. 40:55D-122 Recordation; tax assessment. 40:55D-123 Review by municipal agencies. 40:55D-124 Repeal of ordinance. 40:55D-125 Development Transfer Bank. 40:55D-125.1Solid waste facility buffer zone; definitions. 40:55D-126 Development easement. 40:55D-127 Equitable interests. 40:55D-128 Farm benefits. 40:55D-129 Annual report.
  • 5.
    Residential Cluster Definition perN.J.S.A. 40:55d-7:  “Residential cluster” means a contiguous or noncontiguous area to be developed as a single entity according to a plan containing residential housing units which have a common or public open space area as an appurtenance.
  • 6.
    Planned Developments (N.J.S.A. 40:55D-65c) c. Provide districts for planned developments; provided that an ordinance providing for approval of subdivisions and site plans by the planning board has been adopted and incorporates therein the provisions for such planned developments in a manner consistent with article 6 of P.L.1975, c.291 (C.40:55D-37 et seq.). The zoning ordinance shall establish standards governing the type and density, or intensity of land use, in a planned development. Said standards shall take into account that the density, or intensity of land use, otherwise allowable may not be appropriate for a planned development. The standards may vary the type and density, or intensity of land use, otherwise applicable to the land within a planned development in consideration of the amount, location and proposed use of open space; the location and physical characteristics of the site of the proposed planned development; and the location, design and type of dwelling units and other uses. Such standards may provide for the clustering of development between noncontiguous parcels and may, in order to encourage the flexibility of density, intensity of land uses, design and type, authorize a deviation in various clusters from the density, or intensity of use, established for an entire planned development. The standards and criteria by which the design, bulk and location of buildings are to be evaluated shall be set forth in the zoning ordinance and all standards and criteria for any feature of a planned development shall be set forth in such ordinance with sufficient certainty to provide reasonable criteria by which specific proposals for planned development can be evaluated.
  • 7.
    Mount Olive Township Morris County, NJ  Project Name: Newfane Associates, Inc.  Nature of Application: Residential Major Subdivision  Date initiated: March 1993  Description of parcels:  Lot 32: 28.91 acres  Lot 59: 55.40 acres  Lot 36: 86.85 ac.  Conventional Zoning: residential one acre lot requirement
  • 10.
    Newfane Proposal  Transfereligible qualifying density from Lot 59 to Lots 32 and 36.  Develop Lots 32 and 36 as a 104-lot residential cluster (20,000 sq. ft. lots served by central water and sanitary sewerage).  Dedicate Lot 59 to the Township for open space and/or active recreation use.
  • 11.
    Step 1: QualifyingMap to determine total density  Conventional layout qualifying map based on one-acre lots for all three tracts to determine total dwelling unit yield  Includes streets, stormwater basins, protected critical slopes and freshwater wetlands  Detailed engineering not provided at this step  Result: Total of 109 residential lots (ultimately reduced to a total of 104 residential lots)
  • 13.
    Step 2: PlanningBoard Approves Density  A slightly modified overall density of 104 residential lots was established on the qualifying map  Lot 32 : 20 residential lots  Lot 59 : 25 residential lots  Lot 36 : 59 residential lots
  • 14.
    Step 3: Submissionto Township Council for open space consideration  Planning Board reported to the Township Council - evaluated the proposed open space dedication per standards  Township Council approval required developer to:  provide water and sewer to open space lot if required by Township  secure any/all permits from NJDEP on open space lot  provide $75,000 cash contribution within 6 months of filing final subdivision plats to improve open space lot for active recreational use  submit title insurance policy in the amount equivalent to fair market value of property
  • 16.
    Step 4: PlanningBoard hearings on Preliminary Major Subdivision  Preliminary Major Subdivision approved (103 residential lots) with stipulation:  “The transfer of development credits will occur simultaneously with the first final subdivision approval of a part, if this project is phased, or final approval of the entire project, if it is not.”  Conditions on developer regarding Lot 59 open space lot:  convey Lot 59 to the Township within 60 days of filing of plats  cash contribution of $75,000 for recreational use (payment in stages linked to CO’s)  secure NJDEP Letter of Interpretation for Lot 59  off-site road improvements
  • 17.
    Step 5: PlanningBoard hearings on Final Major Subdivision  Planning Board approved Final Major Subdivision for project (known as Oak Hill I and II) and the transfer of development credits from Lot 59 to other tracts.
  • 20.
    Pros and Consof Noncontiguous Clustering Pros  Easy to set up. Does not require detailed investigations required for TDR  Can be designed to reward preservation of targeted properties Cons  Not a true development transfer program, since no sending and receiving areas are designated  If it does appear to be TDR-like, it may run afoul of the lawful use of TDR in NJ.  Ad hoc planning, not a comprehensive policy response.
  • 21.
    Noncontiguous Clustering Handle with Care…  Without linkage to local goals and policies, noncontiguous clustering can actually interfere with planning and zoning objectives  With too much linkage, it may appear as TDR  However, targeting for desired results can be a viable strategy  For instance, allowing noncontiguous clustering only where the preserved lands are targeted for preservation.  In this way, farmland, parkland, greenways or other desired preservation can be advanced