NOTICE OF A PUBLIC MEETING

                            AN AGENDA OF A REGULAR MEETING OF THE CITY COUNCIL
                                       THE CITY OF SAN ANGELO, TEXAS
                                        9:00 A.M. - Tuesday, March 19, 2013
                                   McNease Convention Center, South Meeting Room
                                               500 Rio Concho Drive

THE MCNEASE CONVENTION CENTER IS ACCESSIBLE TO PERSONS WITH DISABILITIES.
ACCESSIBLE ENTRIES AND SPECIALLY MARKED PARKING SPACES ARE AVAILABLE AT BOTH
MAIN ENTRANCES AT SURBER DRIVE AND RIO CONCHO DRIVE. IF ADDITIONAL ASSISTANCE
IS NEEDED TO OBSERVE OR COMMENT, PLEASE NOTIFY THE OFFICE OF THE CITY CLERK,
ROOM 210, CITY HALL, 657-4405, AT LEAST 24 HOURS PRIOR TO THE MEETING.

City Council meetings are broadcast on Channel 17-Government Access at 10:30 A.M. and 7:00 P.M. every
day for two weeks beginning on the Thursday after each meeting.

          As a courtesy to those in attendance, please place your cell phone on “Silent” or “Vibrate”
                                                  Thank You!

I.    OPEN SESSION (9:00 A.M.)
      A. Call to Order
      B. Prayer and Pledge
         "Honor the Texas flag; I pledge allegiance to thee, Texas, one state under God, one and indivisible.”
      C. Proclamations
         Nutrition Month, March 2013, to be accepted by Betty Teston, Big Country Academy of Nutrition &
         Dietetics, local organization for Dietitians and members of the American Academy of Nutrition & Dietetics
         (form)
         Lutheran Schools Month, March 2013, to be accepted by by Ron Fritsche, Principal of Trinity Lutheran
         School
      D. Recognition
         Rex Rogers, for winning the contest suggesting the name for the City’s government access channel SATV
      E. Public Comment
         The Council takes public comment on all items in the Regular Agenda. Public input on a Regular Agenda
         item will be taken at its appropriate discussion. Public input on an item not on the Agenda or Consent
         Agenda may be identified and requested for consideration by the Council at this time. The Council may
         request an item to be placed on a future agenda, or for a Consent Agenda item, to be moved to the Regular
         Agenda for public comment.

II.   CONSENT AGENDA
         1. Consideration of approving the February 26, 2013 City Council Special meeting minutes and the
            March 5, 2013 City Council Regular meeting minutes
         2. Consideration of adopting a Resolution awarding bid CFM-01-13for Pest Control Services to Bug
            Express authorizing the City Manager to execute related documents (submitted by Construction &
            Facilities Manager Ron Lewis)


City Council Agenda                                 Page 1 of 5                                   March 19, 2013
3. Consideration of approving a residential lease renewal located at Lot 104, Group Shady Point, 6678
            Knickerbocker Road (Persely), and authorizing the Water Utilities Director to execute the same
            (submitted by Interim Water Utilities Director Ricky Dickson)
         4. Consideration of adopting a Resolution of the City of San Angelo authorizing the Mayor to execute a
            tax-resale (quitclaim) deed conveying all right, title and interest of the City of San Angelo, and all other
            taxing units interested in the tax foreclosure judgment:
             a. 1944 & 1948 Magnolia Street, (Gonzalez), Lots 1 & 2, Block 2, Avondale, $1,000.00, Suit No.B99-0081-
                T
             b. 207 E Avenue L, (Perez), E 50’ x 238’ of a 1 acre Tract, Fisher Miller, $750.00, Suit No.TAX89-0388B
             c. 725 Hughes Street, (Salinas), Lot 9, Block 2, Culwell, $950.00, Suit No. B-03-0087-T
             d. 816 Volney, (Salinas) Portion of Lots 6-8, Block 28, Miles, 1,500.00, Suit No. B-05-0192-T
             e. 111 E 13th Street, (Salinas), Lot 7, Block 57, Miles, $1,200.00, Suit No. B-97-0170-T
             f. 329 13th Street, (Salinas), Lot 2, Block 2, Pecan Place, $750.00, Suit No.TAX90-0083B
             g. 1916 Shelton, (Sanchez), S ½ of Lot 12, Block 3, Home Acres, $2,500.00, Suit No.B-00-0043-T
         5. Consideration of adopting a Resolution allowing the City Manager or his designee to negotiate and
            execute a contract with the Chamber of Commerce Convention & Visitors Bureau allocating Hotel
            Occupancy Tax funds (submitted by Assistant City Manager/Chief Financial Officer Michael Dane)
         6. Consideration of adopting a Resolution appointing election officials for the election to be held on May
            11, 2013; and providing for an effective date (submitted by City Clerk Alicia Ramirez)
         7. Consideration of adopting a Resolution authorizing the City Manager to execute an Interlocal
            Cooperation Agreement with the San Angelo Independent School District (SAISD) providing for
            construction by the City of recreational and park improvements, not to exceed $175,000.00, for public
            use on property owned by the SAISD generally known as Bradford Elementary School, to be
            maintained by the SAISD (submitted by Parks and Recreation Director Carl White)
         8. Consideration of adopting a Resolution authorizing the City Manager to execute a first amended lease
            agreement amending the original lease agreement between City of San Angelo and Howard County
            Junior College District, including extending the original lease term and providing for additional
            improvements to be made on leased premises (submitted by Assistant City Manager Rick Weise)
         9. Consideration of adopting a Resolution endorsing certain legislative action in the Regular Session of
            the 83rd Texas Legislature to enhance the competitive electric market and system reliability and to
            protect the traditional role of cities in the regulatory process (submitted by City Attorney Lysia H.
            Bowling)
         10. Second Hearing and consideration of adopting an Ordinance amending Chapter 12, Exhibit “A”
             (Zoning Ordinance) of the Code of Ordinances, City of San Angelo (submitted Interim Director of
             Development Services AJ Fawver)
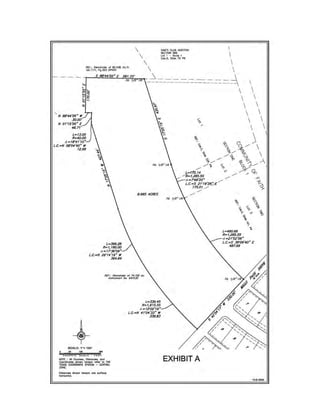
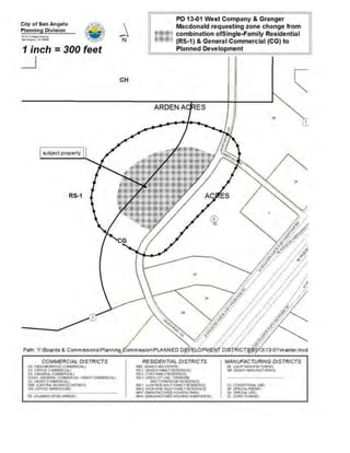
             PD 13-01: West Company/Granger Macdonald
             AN ORDINANCE AMENDING CHAPTER 12, EXHIBIT “A” OF THE CODE OF ORDINANCES,
             CITY OF SAN ANGELO, TEXAS, WHICH SAID EXHIBIT “A” OF CHAPTER 12 ADOPTS
             ZONING REGULATIONS, USE DISTRICTS AND A ZONING MAP, IN ACCORDANCE WITH A
             COMPREHENSIVE PLAN, BY CHANGING THE ZONING AND CLASSIFICATION OF THE
             FOLLOWING PROPERTY, TO WIT: an unaddressed 9.8 acre property out of approximately 75 acres
             currently described as Section 3, Arden Acres, which is located adjacent to and directly west of the
             intersection of Northwest Drive and Green Hill Road. The property specifically occupies a proposed
             Second Replat of Arden Acres, Section Three, Block 3, Tract 3 in western San Angelo, changing the
             zoning classification from a combination of Single-Family Residential (RS-1) and General Commercial
             (CH) to Planned Development (PD) District; PROVIDING FOR SEVERABILITY AND PROVIDING
             A PENALTY

City Council Agenda                                   Page 2 of 5                                      March 19, 2013
11. Second Hearing and consideration of adopting an Ordinance amending Chapter 12, Exhibit “A”
             (Zoning Ordinance) of the Code of Ordinances, City of San Angelo (submitted Interim Director of
             Development Services AJ Fawver)
             Z 13-02: Debbie Clark
             AN ORDINANCE AMENDING CHAPTER 12, EXHIBIT “A” OF THE CODE OF ORDINANCES,
             CITY OF SAN ANGELO, TEXAS, WHICH SAID EXHIBIT “A” OF CHAPTER 12 ADOPTS
             ZONING REGULATIONS, USE DISTRICTS AND A ZONING MAP, IN ACCORDANCE WITH A
             COMPREHENSIVE PLAN, BY CHANGING THE ZONING AND CLASSIFICATION OF THE
             FOLLOWING PROPERTY, TO WIT: 2008 Beacon Street, located on the northeast corner of the
             intersection of Beacon Street and Montague Avenue. This property specifically occupies the Avondale
             Addition, Block 10, Lots 15-20, in central San Angelo, changing the zoning classification from a
             Single-Family Residential (RS-1) to a Two-Family Residential (RS-2) District; PROVIDING FOR
             SEVERABILITY AND PROVIDING A PENALTY
         12. Second Hearing and consideration of adopting an Ordinance amending Chapter 12, Exhibit “A”
             (Zoning Ordinance) of the Code of Ordinances, City of San Angelo (submitted Interim Director of
             Development Services AJ Fawver)
             Z 13-03: Tom Green County
             AN ORDINANCE AMENDING CHAPTER 12, EXHIBIT “A” OF THE CODE OF ORDINANCES,
             CITY OF SAN ANGELO, TEXAS, WHICH SAID EXHIBIT “A” OF CHAPTER 12 ADOPTS
             ZONING REGULATIONS, USE DISTRICTS AND A ZONING MAP, IN ACCORDANCE WITH A
             COMPREHENSIVE PLAN, BY CHANGING THE ZONING AND CLASSIFICATION OF THE
             FOLLOWING PROPERTY, TO WIT: 318 North Bell Street, located on the northeast corner of the
             intersection of North Bell Street and Spaulding Street. This property specifically occupies the Bell
             Addition, Block 9, 2.35 acres in the southwest corner of Block 9, in north central San Angelo,
             changing the zoning classification from Single-Family Residential (RS-1) to Neighborhood
             Commercial (CN) District; PROVIDING FOR SEVERABILITY AND PROVIDING A PENALTY
         13. Second Hearing and consideration of adopting an Ordinance amending Chapter 12, Exhibit “A”
             (Zoning Ordinance) of the Code of Ordinances, City of San Angelo (submitted Interim Director of
             Development Services AJ Fawver)
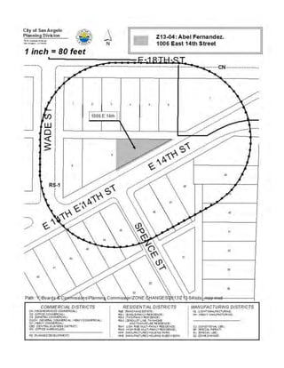
             Z 13-04: Abel Fernandez
             AN ORDINANCE AMENDING CHAPTER 12, EXHIBIT “A” OF THE CODE OF ORDINANCES,
             CITY OF SAN ANGELO, TEXAS, WHICH SAID EXHIBIT “A” OF CHAPTER 12 ADOPTS
             ZONING REGULATIONS, USE DISTRICTS AND A ZONING MAP, IN ACCORDANCE WITH A
             COMPREHENSIVE PLAN, BY CHANGING THE ZONING AND CLASSIFICATION OF THE
             FOLLOWING PROPERTY, TO WIT: 1006 East 14th Street, located approximately 170 feet from the
             northeast intersection at East 14th Street and Wade Street. This property specifically occupies the Exall
             Addition, Block 9, Lot 8 Exc. West 88.7’, in north central San Angelo, changing the zoning
             classification from a Single-Family Residential (RS-1) to a Neighborhood Commercial (CN) District;
             PROVIDING FOR SEVERABILITY AND PROVIDING A PENALTY
         14. Second Hearing and consideration of adopting an Ordinance amending Chapter 12, Exhibit “A”
             (Zoning Ordinance) of the Code of Ordinances, City of San Angelo (submitted Interim Director of
             Development Services AJ Fawver)
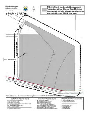
             Z 13-06: City of San Angelo Development Corporation
             AN ORDINANCE AMENDING CHAPTER 12, EXHIBIT “A” OF THE CODE OF ORDINANCES,
             CITY OF SAN ANGELO, TEXAS, WHICH SAID EXHIBIT “A” OF CHAPTER 12 ADOPTS
             ZONING REGULATIONS, USE DISTRICTS AND A ZONING MAP, IN ACCORDANCE WITH A
             COMPREHENSIVE PLAN, BY CHANGING THE ZONING AND CLASSIFICATION OF THE

City Council Agenda                                  Page 3 of 5                                      March 19, 2013
FOLLOWING PROPERTY, TO WIT: 1020, 1030, & 1040 Gateway Drive, located east of the
             intersection of Gateway Drive and FM 380; more specially occupying the Gateway Addition, Section 1,
             Block 3, Lots 1 and 2 and Tract A, in Section 1 being a 20.059 acres, in northeast San Angelo,
             changing the zoning classification from Light Manufacturing (ML) to Heavy Manufacturing (MH)
             District; PROVIDING FOR SEVERABILITY AND PROVIDING A PENALTY
         15. Second Hearing and consideration of adopting an Ordinance amending Chapter 12, Exhibit “A”
             (Zoning Ordinance) of the Code of Ordinances, City of San Angelo (submitted Interim Director of
             Development Services AJ Fawver)
             Z 13-07: City of San Angelo Planning
             AN ORDINANCE AMENDING CHAPTER 12, EXHIBIT “A” OF THE CODE OF ORDINANCES,
             CITY OF SAN ANGELO, TEXAS, WHICH SAID EXHIBIT “A” OF CHAPTER 12 ADOPTS
             ZONING REGULATIONS, USE DISTRICTS AND A ZONING MAP, IN ACCORDANCE WITH A
             COMPREHENSIVE PLAN, BY CHANGING THE ZONING AND CLASSIFICATION OF THE
             FOLLOWING PROPERTY, TO WIT: An unaddressed tract of land located at the southwest end of
             Twin Mountain Drive. This property specifically occupies approximately 24 acres of the G. Maurer
             Survey 0182, Abstract 1649, west of Sections One-A and One-B of The Homestead, in southwest San
             Angelo, changing the zoning classification from a Planned Development (PD) to a Single Family
             Residential (RS-1) District; PROVIDING FOR SEVERABILITY AND PROVIDING A PENALTY
         16. Second Hearing and consideration of adopting an Ordinance amending established boundaries of
             Single Member District 1 (submitted by City Clerk Alicia Ramirez)
             AN ORDINANCE OF THE CITY COUNCIL OF THE CITY OF SAN ANGELO, TEXAS
             AMENDING THE ESTABLISHED BOUNDARIES OF SINGLE MEMBER DISTRICT NUMBER 1
             FOR THE PURPOSE OF INCORPORATING NEWLY ANNEXED AREAS INTO SAID
             DISTRICT, PROVIDING FOR PRECLEARANCE AND ALL OTHER NECESSARY ACTIONS;
             AND PROVIDING FOR AN EFFECTIVE DATE
III. REGULAR AGENDA:
     F. EXECUTIVE/CLOSED SESSION
         Executive Session under the provision of Government Code, Title 5. Open Government; Ethics, Subtitle A.
         Open Government, Chapter 551. Open Meetings, Subchapter D. Exceptions to Requirement that Meetings
         be Open, Section 551.072 to deliberate the purchase, exchange, lease, or value of real property
         Executive Session under the provision of Government Code, Title 5. Open Government; Ethics, Subtitle A.
         Open Government, Chapter 551. Open Meetings, Subchapter D. Exceptions to Requirement that Meetings
         be Open, Section 551.087 to discuss an offer of financial or other incentive to a company or companies
         with whom the City of San Angelo is conducting economic development negotiations and which the City of
         San Angelo seeks to have, locate, stay or expand in San Angelo
     G. PUBLIC HEARING AND COMMENT
         17. Update on the design and construction activities for the Hickory Aquifer Water Supply Project
             (Presentation by Interim Water Utilities Director Ricky Dickson and Hutch Musallam with Carollo
             Engineers)
         18. First public hearing and consideration of introducing an Ordinance amending the 2012-2013 Budget
             for new projects, incomplete projects, capital projects and grants
             AN ORDINANCE OF THE CITY OF SAN ANGELO AMENDING THE BUDGET FOR THE
             FISCAL YEAR BEGINNING OCTOBER 1, 2012, AND ENDING SEPTEMBER 30, 2013, FOR
             NEW PROJECTS, INCOMPLETE PROJECTS, AND GRANTS
             (Presentation by Budget Analyst Steve Mahaffey)

City Council Agenda                                Page 4 of 5                                   March 19, 2013
19. Public hearing and consideration of adopting a Resolution authorizing the adoption of the 2013-2018
             Capital Improvement Plan for the City of San Angelo

             (Presentation by Budget Analyst Laura Brooks)
         20. Discussion of prohibiting commercial vehicles from using certain streets and parking in certain areas
             within the San Angelo city limits and any action in connection thereto
             (Presentation by City Engineer Clinton Bailey)
         21. Consideration of granting a request for temporary placement of a mobile home, not to exceed one year,
             during construction of a permanent home on the same 3 acre site. 1105 West 48th Street, located
             approximately 320 feet east of the intersection of Lake Drive and West 48 Street; more specifically
             occupying the Chandler Subdivision, Section 1, Block 1, Lot 2, in northwest San Angelo
             (Presentation by Interim Director of Development Services AJ Fawver)
         22. First Public Hearing and consideration of introducing an Ordinance amending the allocation method of
             Hotel Occupancy Tax and related matters
             AN ORDINANCE AMENDING THE CODE OF ORDINANCES OF THE CITY OF SAN ANGELO,
             TEXAS, CHAPTER 5 “BUSINESS AND COMMERCE”, ARTICLE 5.800 “HOTEL OCCUPANCY
             TAX”, SECTION 5.805 “PURPOSE AND DISTRIBUTION OF TAX”, BY REPEALING SAID
             SECTION IN ITS ENTIRETY AND ADOPTING A NEW SECTION 5.805 ENTITLED, “USE OF
             REVENUE”, TO REMOVE THE MANDATED ALLOCATION OF REVENUE FOR USES ON A
             FIXED PERCENTAGE BASIS AND TO PROVIDE FOR ALLOCATION OF REVENUE FOR USES
             PERMITTED BY LAW AS CITY COUNCIL MAY DETERMINE WILL PROVIDE THE BEST
             VALUE IN APPLICATION OF HOTEL OCCUPANCY TAX REVENUE TO THE CITIZENS OF
             SAN ANGELO BY RESOLUTION FROM TIME TO TIME
             (Presentation by Assistant City Manager/Chief Financial Officer Michael Dane)
         23. Discussion and update on the housing data obtained by Hotel/Community Housing Committee
             Members
             (Requested by Councilmember Hirschfeld and presentation by City Manager Daniel Valenzuela)
     H. FOLLOW UP AND ADMINISTRATIVE ISSUES

         24. Consideration of and possible action on matters discussed in Executive/Closed Session, if needed
         25. Consideration of approving a Board nomination by Council and designated Councilmember:
             a. Planning Commission: Valerie Priess (Mayor) to an unexpired term January 2014
         26. Consideration of nominating City Council Members to serve as representatives on the Concho Valley
             Council of Government General Assembly
         27. Announcements and consideration of Future Agenda Items
         28. Adjournment

      Given by order of the City Council and posted in accordance with Title 5, Texas Government Code, Chapter
      551, Tuesday, March 12, 2013, at 5:00 P.M.

      /s/________________________
      Alicia Ramirez, City Clerk




City Council Agenda                                 Page 5 of 5                                   March 19, 2013
City of San Angelo



Memo
 Date:                 February 20, 2013

 To:                   Mayor and Council Members

 From:                 Ron Lewis, Construction and Facilities Maintenance

 Subject:              Agenda Item for March 19, 2013 Council Meeting

 Contact:              Ron Lewis, 481.2773

 Caption:              Consent

                       Adoption of a resolution awarding a contract for Pest Control Services between the
                       City of San Angelo and Bug Express, and authorizing the Mayor and/or City Manager
                       to execute said contract.

                       The City of San Angelo posted RFB:CFM-01-13 on the COSA website and
                       advertised twice in the San Angelo Standard Times Newspaper, and directly
 Summary:              notified 13 vendors for Pest Control Services. Ten vendors were located in San
                       Angelo. The bids were opened on February 1, 2013. Four vendors responded.
                       Bug Express provided the best value for the City of San Angelo. The initial term
                       of the contract is for three (3) years with two (2) options to extend for a period of
                       one (1) year each.

 History:              Construction and Facilities Maintenance and the Purchasing Department
                       prepared RFB: CFM-01-13 for Pest Control Services. Several calls where made
                       to current users of Bug Express. All had good reports to their service and one
                       mentioned they were on a first name basis with their service person. They work
                       well with scheduling and coordinating when having to gain access to large
                       numbers of housing unit.

 Financial Impact:     Total impact is $9,790.00 per year budgeted throughout several City
                       department accounts. Departments paying annually will receive a 5%
                       discount.
 Related Vision Item   Financial Vision: Review contracted services on annual basis to ensure highest
                       and best use of public funds.
 (if applicable):

 Other Information/    Staff recommends approval of the contract with Bug Express for Pest Control
 Recommendation:       Services.

 Attachments:          Resolution, Contract, RFB:CFM-01-13 Bid Tab

 Presentation:         NA

 Publication:          NA

 Reviewed by           Rick Weise, Assistant City Manager
 Director:

 Approved by Legal:




                                                                                              Adopted: 5/30/03
                                                                                              Revised: 6/21/10
CITY OF SAN ANGELO
                                                                                                  BID TAB
                                                                                      CFM-01-13 PEST CONTROL SERVICE
                                                                                         February 1, 2013 / 2:00pm
                                                                           Better Choice                   Bug Express               Jim's Pest Control           Thrash Pest Control
                                                                    Bid Per                        Bid Per                      Bid Per                       Bid Per
     Facilities                                Frequency            Frequency Per year             Frequency Per year           Frequency    Per year         Frequency Per year
 1   City Hall                                   Monthly             $    50.00 $       600.00      $    21.00 $       252.00    $    350.00 $     4,200.00    $    50.00 $       600.00
 2   Community Development Building              Monthly             $    30.00 $       360.00      $    21.00 $       252.00    $    150.00 $     1,800.00    $    50.00 $       600.00
 3   Water Billing & Collection                  Monthly             $    30.00 $       360.00      $    17.00 $       204.00    $    125.00 $     1,500.00    $    50.00 $       600.00
 4   Santa Fe Crossing                           Monthly             $    30.00 $       360.00      $    17.00 $       204.00    $    225.00 $     2,700.00    $    50.00 $       600.00
 5   Station 618                                 Monthly             $    30.00 $       360.00      $    20.00 $       240.00    $    155.00 $     1,860.00    $    50.00 $       600.00
 6   Carl Ray Center                             Monthly             $    15.00 $       180.00      $    20.00 $       240.00    $    102.50 $     1,230.00    $    50.00 $       600.00
 7   Southside Recreation                        Monthly             $    15.00 $       180.00      $    20.00 $       240.00    $    175.00 $     2,100.00    $    50.00 $       600.00
 8   Municipal Pool                              Monthly             $    15.00 $       180.00      $    20.00 $       240.00    $    102.50 $     1,230.00    $    50.00 $       600.00
 9   Nature Center                               Monthly             $    15.00 $       180.00      $    20.00 $       240.00    $    102.50 $     1,230.00    $    50.00 $       600.00
10   Municipal Court                             Monthly             $    20.00 $       240.00      $    20.00 $       240.00    $     95.00 $     1,140.00    $    50.00 $       600.00
11   Wastewater Treatment Plant                  Quarterly           $    50.00 $       200.00      $    55.00 $       220.00    $    225.00 $       900.00    $   200.00 $       800.00
12   Police Dept                                 Monthly             $    30.00 $       360.00      $    30.00 $       360.00    $    300.00 $     3,600.00    $    50.00 $       600.00
13   Training Facility                           Monthly             $    20.00 $       240.00      $    45.00 $       540.00    $    125.00 $     1,500.00    $    50.00 $       600.00
14   Building / 505 S. Chadbourne                Monthly             $    15.00 $       180.00      $    15.00 $       180.00    $    125.00 $     1,500.00    $    50.00 $       600.00
15   Gun Range                                   Quarterly           $    30.00 $       120.00      $    50.00 $       200.00    $    200.00 $       800.00    $   150.00 $       600.00
16   McNease Convention Center                   Monthly             $    30.00 $       360.00      $    30.00 $       360.00    $    350.00 $     4,200.00    $    50.00 $       600.00
17   City Auditorium                             Monthly             $    30.00 $       360.00      $    20.00 $       240.00    $    150.00 $     1,800.00    $   100.00 $     1,200.00
18   Coliseum                                    Monthly             $    35.00 $       420.00      $    40.00 $       480.00    $    375.00 $     4,500.00    $   200.00 $     2,400.00
                                              Every 3 weeks
                                                (17 billing
19 Animal Shelter                                periods)           $     35.00   $       595.00    $    25.00   $     425.00   $    155.00   $    2,635.00   $    100.00   $   1,700.00
                                                 Spring &
                                               summer every
                                              Mo./Fall-Winter
                                              every Other Mo
20   Public Safety Communications                 (9 mos)           $     30.00   $       270.00    $    35.00   $     315.00   $     92.50   $      832.50   $     50.00   $    450.00
21   Central Fire Dept                        Every Other Mo.       $     25.00   $       150.00    $    25.00   $     150.00   $    125.00   $      750.00   $     50.00   $    300.00
22   Training Center                          Every Other Mo.       $     25.00   $       150.00    $    25.00   $     150.00   $    125.00   $      750.00   $     50.00   $    300.00
23   Station #2                               Every Other Mo.       $     25.00   $       150.00    $    25.00   $     150.00   $    125.00   $      750.00   $     50.00   $    300.00
24   Station #3                               Every Other Mo.       $     25.00   $       150.00    $    25.00   $     150.00   $    125.00   $      750.00   $     50.00   $    300.00
25   Station #4                               Every Other Mo.       $     25.00   $       150.00    $    25.00   $     150.00   $    125.00   $      750.00   $     50.00   $    300.00
26   Station #5                               Every Other Mo.       $     25.00   $       150.00    $    25.00   $     150.00   $    125.00   $      750.00   $     50.00   $    300.00
27   Station #6                               Every Other Mo.       $     25.00   $       150.00    $    25.00   $     150.00   $    125.00   $      750.00   $     50.00   $    300.00
28   Station #7                               Every Other Mo.       $     25.00   $       150.00    $    25.00   $     150.00   $    125.00   $      750.00   $     50.00   $    300.00
29   Station #8                               Every Other Mo.       $     25.00   $       150.00    $    25.00   $     150.00   $    125.00   $      750.00   $     50.00   $    300.00
30   Water Distribution And Collection           Monthly            $     30.00   $       360.00    $    22.00   $     264.00   $    152.50   $    1,830.00   $     50.00   $    600.00
31   Cemetery Office                             Quarterly          $     20.00   $        80.00    $    35.00   $     140.00   $     62.50   $      250.00   $     50.00   $    200.00
32   Parks Dept.                                 Quarterly          $     20.00   $        80.00    $    35.00   $     140.00   $    125.00   $      500.00   $    100.00   $    400.00
33   Santa Fe Train Museum                       Quarterly          $     20.00   $        80.00    $    30.00   $     120.00   $    125.00   $      500.00   $     50.00   $    200.00
34   Emergency Operations Center                 Monthly            $     20.00   $       240.00    $    17.00   $     204.00   $    125.00   $    1,500.00   $     50.00   $    600.00

35   Ralph Chase State Services Center             Monthly          $     25.00   $       300.00    $    25.00   $     300.00   $    300.00   $    3,600.00   $     50.00   $    600.00
36   Texas Workforce Solutions                     Monthly          $     25.00   $       300.00    $    25.00   $     300.00   $    225.00   $    2,700.00   $     50.00   $    600.00
37   Employee Health Clinic                        Monthly
     C:Usersbryan.kendrickDesktop03-19-1302 PUR CFM-01-13Bid   $     20.00   $       240.00    $    22.00   $     264.00   $     92.50   $    1,110.00   $     50.00   $    600.00
CITY OF SAN ANGELO
                                                                                                BID TAB
                                                                                    CFM-01-13 PEST CONTROL SERVICE
                                                                                       February 1, 2013 / 2:00pm
                                                                       Better Choice                     Bug Express                  Jim's Pest Control                Thrash Pest Control
38 Airport Terminal                           Monthly             $    20.00 $      240.00        $     18.00 $      216.00       $    155.00 $     1,860.00        $     50.00 $      600.00
                                            Semi-Monthly
39 Control Tower                            (24 per year)         $    20.00    $        480.00   $     15.00    $      360.00    $    205.00    $     4,920.00     $     50.00   $    1,200.00
                                            Semi-Monthly
40 Flight Services Station                  (24 per year)         $    20.00    $        480.00   $     15.00    $      360.00    $    305.00    $     7,320.00     $     50.00   $    1,200.00
41 Water Quality Lab                          Quarterly               $20.00    $         80.00        $25.00    $      100.00        $102.50    $       410.00          $50.00   $      200.00
                                            GRAND TOTAL           $ 1,040.00    $     10,415.00   $ 1,050.00     $    9,790.00    $   6,780.00   $   74,507.50      $ 2,600.00    $   25,250.00

                 Current number of certified pest control technicians:                  2                              10                               2                               5
                                                                                                                                                   none we have
                                                                                                                   Annual in                       already placed
                                                                                    Annual pay                   advance - 5%                    discounts in the                  20% discount
                             List any discounts available (annual pay, etc.):        10% off                       discount                              bid                      for annual pay
                         Vendor Agrees to allow Piggy-Back Procurements                Yes                            Yes                              Yes                             Yes
                                     Will you accept Credit Card Payments?             Yes                            Yes                               n                              No
             If you accept Credit Card Payments, will you offer a discount?            No                             No                               n/a                             n/a
                                    If so, how much and what are the terms?            N/a                            n.a                              n/a                             n/a



   Invitation to Bids Mailed To:
   A&A Pest                                San Angelo, TX                       Hi-Tech Pest Defense             San Angelo, TX
   A Ban Exterminators                     San Angelo, TX                       Orkin Pest Control               Abilene, TX
   B Better Choice Pest Control            Tom Bean, TX                         Terminix International           San Angelo, TX
   Affordable Pest Control                 San Angelo, TX                       Pioneer Termite & Pest Control   San Angelo, TX
   Bug Experts Pest Control                San Angelo, TX                       Rex Pest Control                 San Angelo, TX
   Bug Express                             San Angelo, TX                       Rhino Pest Control               Mertzon, TX
   Farmers Daughter Landscape              San Angelo, TX




   C:Usersbryan.kendrickDesktop03-19-1302 PUR CFM-01-13Bid
City of San Angelo



Memo
 Date:             March 8, 2013
 To:               Mayor and Councilmembers
 From:             Will Wilde, Water Utilities Director
 Subject:          Consent Item for March 19, 2013 Council Meeting
 Contact:          Ricky Dickson, Interim Water Utilities Director, 657-4209
 Caption:        Consideration of approving a residential lease renewal with David and Kerry Persely,
 at Lot 104, Group Shady Point, 6678 Knickerbocker Road; and authorizing the Water Utilities Director
 to execute the same.
 Summary:          The leaseholder’s current lease expires in 2043 and they would like to execute a new 40 year lease for
 financing purposes.


 History:          Lease fees are current and there are no issues with the lease on this tract.

 Financial Impact: Current lease fees: 2013-2016                      $450.00
                                       2017-2043                      Market Value

                           New lease fees: 2013-2016                  $540.00
                                           2017-2053                  Market Value

 Related Vision Item (if applicable): None.

 Other Information/Recommendation: It is recommended that the lease renewal be approved
 and the Water Utilities Director be authorized to execute the lease. Staff recommends approval.

 Attachments: Lease Renewal Agreement (Persely)

 Presentation: None.

 Publication: None.

 Reviewed by Service Area Director: Ricky Dickson, Interim Water Utilities Director
                                         March 8, 2013
LAKE NASWORTHY RESIDENTIAL LOT LEASE


      This lease is made and entered into by and between the CITY OF SAN ANGELO, a
Texas municipal corporation, ("Lessor"), whose address is 72 W. College Avenue, San Angelo,
Tom Green County, Texas 76903, and David and wife, Kerry Persely, whose address is 6678
Knickerbocker Road, San Angelo, Texas 76904 ("Lessee").

                             I. DEMISE OF LEASED PREMISES

1.1     In consideration of the mutual covenants, conditions and agreements set forth in this
lease, Lessor hereby demises and leases to Lessee, and Lessee hereby accepts and leases from
Lessor, the following described real property (hereinafter called "leased premises") situated in
San Angelo, Tom Green County, Texas:

               Lot 104, Group Shady Point, Lake Nasworthy Addition, according
               to the map or plat of said Lake Nasworthy Campsites in the
               custody of the Water Utilities Department of the City of San
               Angelo (also commonly known as 6678 Knickerbocker Road).

                                 II. TERM, FEES AND RENT

                  FIXED COMMENCEMENT AND TERMINATION DATE

2.1    This lease is granted for a period of forty (40) years having an effective date beginning
March 1, 2013 and ending April 30, 2053, in consideration of the initial payment of $150.00,
which payment includes the granting fee, receipt of which payment is hereby acknowledged, and
the further consideration of Lessee's payment of future annual rent in accordance with
subsequent paragraphs hereof and Lessee's compliance with the stipulations and conditions
hereinafter set forth.

                             TIME AND MANNER OF PAYMENT

2.2     Lessee shall pay annual rent to Lessor at the San Angelo Water Utilities Department, 72
W. College Avenue, San Angelo, Texas, 76903, or at such other place as Lessor may from time
to time designate by written notice to Lessee. Such rent shall be paid annually on or before July 1
during the term of this lease in accordance with the following schedule:

       Dates                                                        Annual Rent
        For the Years 2013                Through 2016           $540.00

        For the Years 2017                Through 2052           * Market Value




                                                1
* Annual rent shall be the appraised market value of the leased premises multiplied by a factor of
0.08. Such appraised market value shall be determined and adjusted in accordance with
applicable City ordinances in effect at the time of execution of this lease.

                                  DELINQUENT PAYMENTS

2.3     Lessee shall pay to Lessor a late charge or interest for any rent received by Lessor after
the date that the rent is due in accordance with established ordinances, provided however, that
this provision for late charges or interest shall not be construed as a waiver of the right of Lessor
to terminate this lease at its option as authorized herein.

                                           HOLD OVER

2.4     Any holding over by Lessee of the herein leased premises after the expiration of this
lease shall operate and be construed only as a tenancy from month to month, terminable at the
will of Lessor.

                      III. DEBTS RELATED TO LEASED PREMISES

                                            UTILITIES

3.1    Any utility charges shall be paid in full by Lessee when due.           Failure to pay such
charges may be deemed a default at the option of Lessor.

                                              TAXES

3.2     It is further understood and agreed that Lessee shall pay and discharge all taxes, general
and special assessments, and other charges of every description which during the term of this
lease may be levied on or assessed against the leased premises and all interest therein and all
improvements and other property thereon, whether belonging to Lessor or Leaser to which either
of them may become liable. Lessee shall pay all such taxes, charges, and assessments to the
public officer charged with the collection thereof not less than fifteen (15) days before the same
shall become delinquent, and Lessee agrees to indemnify and save harmless Lessor from all such
taxes, charges and assessments. Failure to pay such taxes and special assessments as provided
herein may be deemed a default at the option of Lessor.

                       WATER, SEWAGE, PAVING IMPROVEMENTS

3.3     In the event the Lessor lays sewer and/or water lines on, adjacent to or in the vicinity of
the leased premises, Lessee agrees to pay the pro rata front-foot cost of laying said line or lines
as established by and in accordance with city policies then in existence.

3.4     Lessee expressly agrees that if city water or sewer lines are ever located within 200 feet
of the leased premises, Lessee will tie on to such service at its own expense at the price
established for that specific Lake Nasworthy area.



                                                 2
3.5     In the event the Lessor institutes a paving program abutting the leased premises, Lessee
shall pay his pro rata share of paving, curb and gutter costs pursuant to prevailing city policies.

                              IV. RULES AND REGULATIONS

4.1     The rules and regulations provided in those certain ordinances of the City Council of the
City of San Angelo, ("Council"), adopted April 2, 1951, and now known as the Lake
Nasworthy-Twin Buttes Ordinances and any and all subsequent amendments adopted heretofore
or hereafter are expressly incorporated herein by reference as terms and conditions of this lease.
This lease is expressly made subject to any ordinances adopted in the future by the Council for
the regulation of Lake Nasworthy and surrounding property, including but not limited to, safety,
sanitation, and ecological requirements. This lease will be managed by the Water Utilities
Department of the City of San Angelo subject to the approval of the Council.

                               V. USE OF LEASED PREMISES

                                 CONSTRUCTION BY LESSEE

5.1     The premises shall be used only for a single family residence and lawful uses incidental
thereto, and in this connection the following shall be applicable:

       a. No structure shall be constructed in excess of two stories in height.

       b. No dwelling or residence shall be located nearer than 75 feet to the 1,872.2 foot
       elevation line.

       c. No housetrailer, shack, tent, or temporary residence of any type shall be permitted on
       the leased premises, and no garage or other accessory building shall be used as a
       residence.

       d. All structures shall have a foundation that complies with Lessor's building code.

       e. No outside toilets shall be constructed or maintained on leased premises, and all
       plumbing shall be connected with a sanitary sewer or with a septic tank which complies
       in all respects to all state, county and city sanitation regulations and requirements. No
       septic tank shall be placed, constructed, or maintained nearer than 75 feet to the 1,872.2
       foot elevation line nor nearer than five (5) feet to any property line. All wastewater
       facilities shall conform to all of the City's wastewater ordinances, where applicable. No
       sewer or drain shall empty into the lake or be constructed so as to flow or wash into the
       lake. No concrete storm drains may be constructed without the prior approval of the
       Water Utilities Department, Zoning Board of Adjustment, Planning Commission and/or
       Council, as applicable.

       f. No structure shall be constructed closer than five (5) feet to any property line.




                                                 3
g. No trees may be removed from the leased premises without the prior written consent of
       the Water Utilities Director.

       h. No improvements or construction work of any kind, including but not limited to,
       houses, boathouses, piers, pump houses, water wells, storage buildings, fences,
       excavations, fills, and other types of structures or improvements, shall be built or
       performed on leased premises without prior approval of the Water Utilities Department,
       Zoning Board of Adjustment, Planning Commission and/or Council, as applicable.

       i. Lessee agrees to comply with all provisions of the Official Code of the City of San
       Angelo ("Code"), as such now exists or may hereafter be amended including, but not
       limited to, those provisions regarding building permits and permit fees; inspections and
       fees therefore; building, plumbing, electrical, and fire standards or requirements; and the
       regulation of septic tanks.

       j. After any permit is granted, Lessee expressly agrees that all improvements or
       construction work shall be built or performed in strict compliance with the terms of the
       permit and approval granted, that construction shall commence within six (6) months
       following the date of the permit, and that all construction shall be completed within one
       (1) year of the date of the permit.

       k. Lessee may request from the Council a variance or deviation from any term or
       condition contained herein.

       l. The Council, prior to granting any extension of an existing lease or a new lease
       covering the leased premises shall have the right to review the leased premises and
       improvements thereon and submit in writing to the Lessee the requirements, if any, which
       shall attach to and become a part of this lease, necessary for compliance with the
       above-mentioned provisions of the Code. Failure of the Lessee to abide by and comply
       with said requirements may be deemd a default at the option of Lessor.

                            RESERVATIONS AND EASEMENTS

5.2     Lessor, its agents or assigns, reserves the privilege and right at any time to execute and
deliver valid oil, gas and other mineral leases upon the leased premises, and valid right-of-way
easements for gas, oil, water, or wastewater pipelines, telephone, telegraph or electric pole
transmission lines on said premises, or any part thereof, and in such event this lease shall be
subject and subordinate to the rights, terms and privileges of any such oil, gas and other mineral
leases or such easements as may have been executed heretofore or hereafter by Lessor, its agents
or assigns. An easement across leased premises is hereby retained by Lessor for the purpose of
laying sewer and water lines and/or for necessary rights-of-way for roads, alleys or other
throughways.

                     VI. ENCUMBRANCE OF LEASEHOLD ESTATE

                      ENCUMBERING LEASEHOLD INTEREST ONLY


                                                4
6.1    Lessee shall not have the right to encumber the fee simple, but Lessee may request
Lessor's written consent (pursuant to article XII of this lease) to encumber the leasehold estate,
personal property or improvements made by Lessee which may be removed from the realty
without injury to the realty; provided however, that no mortgagee nor anyone who claims by,
through or under such mortgage or deed of trust shall, by virtue of such mortgage or deed trust,
acquire any greater or more extended rights than Lessee has under this lease but such mortgage
or deed of trust shall be in every respect subject, subservient and subordinate to all of the
conditions, provisions, requirements, covenants and obligations of this lease. The mortgagee
under any such deed of trust or mortgage shall have the right to assume this lease and perform its
terms and conditions to protect itself.

                                    NOTICES TO LENDER

6.2    Any lender or mortgagee may notify Lessor in writing that a mortgage or deed of trust
has been given and executed by Lessee and furnish Lessor with the address to which it desires
copies of notices to be mailed. Lessor agrees to mail to lender or mortgagee or its designated
agent or representative, at the address given, a copy of any notice which Lessor gives, mails, or
serves on Lessee under the terms of this lease after receipt of such a notice from the lender or
mortgagee.

                              VII. CONDITION OF PREMISES

                                       NO WARRANTY

7.1  LESSOR GIVES NO WARRANTY, EXPRESS OR IMPLIED, AS TO THE
CONDITION OF THE LEASED PREMISES OR ANY IMPROVEMENTS THEREON,
INCLUDING WARRANTY OF HABITABILITY OR FITNESS FOR A PARTICULAR USE.

                       AVAILABILITY AND USE OF LAKE WATER

7.2    Lessor in no way guarantees the accessibility of water to the leased premises nor the level
of water in Lake Nasworthy.

       Lessee can use water from the lake, river, and/or wells on the premises for domestic
purposes and water of existing trees and shrubs; but no water will be removed from the premises.
Use of water for irrigation is expressly prohibited. Lessee shall use water in a conservative
manner, and any abusive use of water shall be grounds for denying the use of water to the
Lessee. Lessee shall pay the applicable water use charge as set by the Lessor, for water or raw
water usage, as the case may be.

                           VIII. REPAIRS AND MAINTENANCE

                       LESSEE'S DUTY TO REPAIR AND MAINTAIN




                                                5
8.1     Lessee agrees to keep and maintain any and all structures erected or caused to be erected
or placed on the leased premises in good and tenantable condition, to maintain its appearance,
and to landscape and keep said premises cleared of all objectionable matter, things, and
vegetation. Leased premises shall not be used for the outside storage of usable materials for
unreasonable lengths of time. In the event Lessee shall fail to maintain leased premises in a
manner acceptable to Lessor, after notice to Lessee as prescribed by city ordinance, the Lessor
shall cause leased premises to be cleaned, cleared, and mowed. Lessee expressly authorizes the
cost of any such clearing, cleaning, and mowing to be billed to it or added to the next annual
rental payment, with interest at the rate of ten percent (10%) per annum beginning thirty (30)
days from the date on which the work was completed, and continuing until such cost is paid in
full.

                                DAMAGE OR DESTRUCTION

8.2     The parties hereto acknowledge that the leased premises are within an area subject to
overflow and flooding and it is expressly agreed between the parties that neither Lessor nor any
of its agents or employees shall be liable to Lessee for any damages caused in any manner,
negligent or otherwise, by high water or floods at Lake Nasworthy, nor by the rivers or creeks
which serve as its sources of supply or diversion channels, nor by reason of any work deemed
necessary in Lessor's sole judgment in the maintenance of said Lake and sources of supply or
diversion channels and all damages occasioned thereby are hereby waived, and when Lessor (or
any agent thereof) deems it necessary to enter on the leased premises for any of the above
purposes, its judgment shall be conclusive.

                            IX. SUSPENSION OF PRIVILEGES

                                     HEALTH MATTERS

9.1     It is expressly understood and agreed that Lessor may at any time, without notice to
Lessee or any mortgagee, suspend or revoke any and all privileges granted herein for such length
of time as in its sole judgment is necessary for the purpose of suppressing or arresting an
epidemic of any contagious or infectious disease, or when, in its sole judgment, any suspension
of privileges is necessary to protect the health of the water consumers of San Angelo, Texas. In
the event privileges are suspended by Lessor, rent shall be prorated; and if the lease is revoked,
Lessor shall pay Lessee an amount equal to the market value of any structures or improvements
hereto made or erected on leased premises in compliance with the terms of this lease.

                                     PUBLIC PURPOSES

9.2     If Lessor shall deem that leased premises are required for any public purpose or that
condemnation is necessary, Lessor shall have the right to terminate this lease by giving ninety
(90) days written notice of such termination to Lessee and any mortgagee who has notified the
Water Utilities Department of its lien and its address for notice purposes; and Lessee agrees to
promptly deliver possession of leased premises to Lessor; and this lease shall terminate upon the
expiration of ninety (90)days after the date of such notice; and in such event Lessor shall pay



                                                6
Lessee an amount equal to the market value of any structures or improvements hereto made or
erected on leased premises in compliance with the terms of this lease.

                                          X. RELEASE

10.1 Lessee expressly releases Lessor, its officers, agents, and employees from any and all
claims for damages of any kind by reason of the condition of the premises hereby leased, or any
improvements thereon or any damages incurred in the enjoyment or exercise of the privileges
granted hereunder, or for damage to its person or property caused by the opening of the gates at
Nasworthy Dam, the lowering of the normal water elevation in the lake, or due to flood or high
water, or any fluctuating water levels which may arise in the use and operation of Lake
Nasworthy, or in the joint use and operation of Lake Nasworthy, San Angelo Reservoir, and
Twin Buttes Reservoir for the purposes of recreation, irrigation, and water supply, or for any
other purpose.

                                   XI. INDEMNIFICATION

11.1 LESSEE FURTHER AGREES FOR LESSEE AND LESSEE’SSUCCESORS IN
INTEREST TO INDEMNIFY AND HOLD LESSOR, ITS OFFICERS, AGENTS, AND
EMPLOYEES, FREE AND HARMLESS FROM ANY CLAIMS FOR DAMAGES OR
INJURY, INCLUDING DEATH, TO PERSONS OR PROPERTY, OR ANY LIABILITY
INCURRED AS A RESULT OF THE EXERCISE OF THE PRIVILEGES CONFERRED BY
THIS LEASE, AND AGREES TO REIMBURSE LESSOR FOR ANY EXPENSES
INCURRED IN THE DEFENSE OF ANY SUCH CLAIM, INCLUDING REASONABLE
ATTORNEY'S FEES AND COURT COSTS ACTUALLY INCURRED. NOTHING HEREIN
SHALL REQUIRE THE INDEMNIFYING PARTY TO INDEMNIFY, DEFEND OR
HOLDHARMLESS ANY INDEMNIFIED PARTY FOR THE INDEMNIFIED PARTY’S
OWN GROSS NEGLIGENCE OR WILLFUL MISCONDUCT. THIS INDEMNIFICATION
SHALL SURVIVE THE TERM OF THIS LEASE AS LONG AS ANY LIABILITY COULD
BE ASSERTED.

                   XII. TRANSFER, ASSIGNMENT, AND SUBLETTING

12.1 Lessee may not transfer or assign the leased premises, in whole or in part, without the
prior written consent of the Lessor, which consent will not be unreasonably withheld. Lessee
may not sublet the leased premises, in whole or in part, without the prior written consent of the
Lessor. Any such transfer, assignment or sublease shall be evidenced in writing, properly
executed and acknowledged by both parties thereto; a copy shall be delivered to Lessor and the
original shall be recorded in the office of the County Clerk of Tom Green County, Texas. It is
agreed, however, that each such transfer, assignment or sublease shall bind the transferee,
assignee or sublessee to the obligations of Lessee to Lessor as set forth in this lease and shall not
release Lessee from Lessee's obligations under the lease.

                              XIII. DEFAULT AND REMEDIES

                                            DEFAULT


                                                 7
13.1 (a) Any breach of this lease by Lessee, other than the non-payment of rent, may result in
irreparable damage to Lessor for which Lessor will not have an adequate remedy at law. If
Lessee should default with respect to any of its obligations hereunder except with respect to the
non-payment of rent, and should fail within 60 days after written notice of such default from the
Lessor to cure such default, then Lessee agrees that that Lessor shall be entitled to immediately
seek relief by action or proceeding at law for damages, for specific performance and injunction,
without any requirement to post a bond or other security.

       (b) In addition to, and independent of, the provisions of subsection (a), above, should
Lessee violate any provision of this Lease, other than the non-payment of rent, and fail or refuse
to cure such violation within 60 days after written notice of such default from Lessor, then
Lessor or Lessor’s agents may enter the premises as reasonably necessary to perform the work
required as determined by Lessor to cure the default and the costs thereof shall be deemed to be
additional rent, immediately due and payable upon written notice to Lessee of the sum of
expenses, costs, and fees so incurred by Lessor, including an assessment for the cost related to
Lessor’s employee time in curing the default, if any. LESSEE HEREBY WAIVES ANY
CLAIM FOR TRESSPASS OR DAMAGES RELATING TO LESSOR OR LESSOR’S
AGENTS OR EMPLOYEES ENTRY ONTO THE LEASEHOLD PREMISES PURSUANT TO
THE PROVSIONS OF THIS LEASE.

        (c) A breach of this lease by Lessee for non-payment of rent shall result in termination of
this lease should Lessee within 60 days after written notice of default setting forth the amount
past due fail to cure such default by making payment of the full amount due Lessor.

                                          POSSESSION

13.2 Lessee agrees at the termination of this lease to deliver possession peacefully to the
Lessor or its agents or employees; and if it fails to give peaceful possession, Lessor may take
forceful possession of said premises and eject all parties therefrom without being guilty of
trespass; and all damages occasioned thereby are hereby waived.

                              REMOVAL OF IMPROVEMENTS

13.3 All buildings and other improvements placed on the property by Lessee (except trees,
shrubs, flowers and plants) which may be removed without injury to the realty shall remain the
property of Lessee. It is understood and agreed, however, that buildings and improvements shall
be held by the Lessor until all rentals due Lessor by Lessee shall have been paid, and should any
amount remain unpaid for more than thirty (30) days after termination of this lease, the Lessor
shall have the right to sell such buildings and improvements and apply the proceeds to the
amount due Lessor, with interest at the annual rate of ten percent (10%), and to any costs
incident to the sale, and pay the balance remaining, if any, to Lessee. All property remaining on
the premises after the expiration of ninety (90) days following the termination of this lease,
however terminated, shall be deemed abandoned by Lessee and shall become the property of
Lessor.



                                                8
OTHER REMEDIES

13.4 (a) Any termination of this lease shall not relieve Lessee from the payment of any sum or
sums that are due and payable to Lessor under the lease, or any claim for damages then or
previously accruing against Lessee under this lease, and any such termination shall not prevent
Lessor from enforcing the payment of any such sum or sums or claim for damages by any
remedy provided for by law, or from recovering damages from Lessee for any default under the
lease. All rights, options, and remedies of Lessor contained in this lease shall be construed and
held to be cumulative, and no one of them shall be exclusive of the other, and Lessor shall have
the right to pursue any one or all of such remedies or any other remedy or relief which may be
provided by law, whether or not stated in this lease. No waiver by Lessor of a breach of any of
the covenants, conditions, or restrictions of this lease shall be construed or held to be a waiver of
any succeeding or preceding breach of the same or any other covenant, condition, or restriction
contained in this lease.

        (b) The remedies provided herein shall not be exclusive of other remedies. A failure by
the Lessor to take action on any past violation shall not constitute a waiver of the Lessor’s right
to take action on any subsequent violation.

                                   XIV. MISCELLANEOUS

                          RELATIONSHIP OF LESSOR AND LESSEE

14.1 The relationship between Lessor and Lessee at all times shall remain solely that of
landlord and tenant and shall not be deemed a partnership or joint venture.

                                        PARTIES BOUND

14.2 This agreement shall be binding upon and inure to the benefit of the parties of the lease
and their respective heirs, executors, administrators, legal representatives, successors and
assigns.

                                           HEADINGS

14.3 The paragraph headings contained herein are for convenience and reference and are not
intended to define, extend or limit the scope of any provisions of this lease.

                             SUPERSEDES PRIOR AGREEMENTS

14.4   If this lease replaces another lease, all prior agreements are superseded by this lease.

                            ENTIRE AGREEMENT/AMENDMENTS

14.5 This lease constitutes the entire agreement between the parties, and Lessor is not bound
by any agreement, condition or stipulation, understanding or representation made by any of



                                                 9
Lessor’s agents not contained herein. No amendment to this lease shall be effective unless such
is in writing and signed by both parties.

                                   VIOLATIONS OF LEASE

14.6 IT IS FURTHER UNDERSTOOD AND AGREED BETWEEN THE PARTIES THAT
THE VIOLATION OF ANY TERM, STIPULATION, CONDITION, OR COVENANT,
SHALL ENTITLE THE LESSOR, AT ITS OPTION, TO TERMINATE THIS LEASE.
FAILURE TO EXERCISE SUCH OPTION AT ANY TIME SHALL NEVER BE
CONSTRUED AS A WAIVER OF ANY CONDITION OF THIS LEASE.

                                    TEXAS LAW TO APPLY

14.7 The parties hereby agree that Texas law will control the interpretation or enforcement of
this lease. This lease has been executed in Texas, and all obligations hereunder are performable
in Tom Green County, Texas.

                            INVALID OR ILLEGAL PROVISIONS

14.8 If any provision of this lease is held invalid as to any person or set of circumstances, such
holding shall not affect the validity of any remaining provision of this lease or any provision’s
application to other persons not similarly situated or to other circumstances.

                        REIMBURSEMENT OF LESSOR’S EXPENSES

14.9 Lessee shall pay on demand all of Lessor’s expenses including, but not limited to,
attorney’s fees and court costs incurred in enforcing any of Lessee’s obligations under this lease,
which include, but are not limited to, collection of rental fees and collection of utility payments,
taxes and other legitimate assessments.

                                            NOTICES

14.9 All notices concerning this lease shall be in writing and delivered to the parties at the
addresses below:

       LESSEE:          David and Kerry Persely
                        6678 Knickerbocker Road
                        San Angelo, Texas 76904

       LESSOR:         City of San Angelo
                       Attn: Water Utilities Director
                       72 W. College Avenue
                       San Angelo, Texas 76903


                              [SIGNATURE PAGE TO FOLLOW]


                                                10
EXECUTED in duplicate originals on the _____day of _____________________, 2013
by:

                                           LESSEE


                                           David Persely


                                           Kerry Persely


STATE OF TEXAS                      §
COUNTY OF TOM GREEN §

      This instrument was acknowledged before me on the _____day of ________________,
2013 by David and Kerry Persely.


                                           Notary Public, State of Texas



                                           CITY OF SAN ANGELO, LESSOR


                                           BY:
                                                  RICKY DICKSON
                                                  Water Utilities Department

STATE OF TEXAS                      §
COUNTY OF TOM GREEN §

       This instrument was acknowledged before me on the _____day of ________________,
2012, by Ricky Dickson, Interim Director of Water Utilities of the City of San Angelo, a Texas
home rule municipal corporation, on behalf of said corporation.


                                           Notary Public, State of Texas




                                             11
City of San Angelo



Memo
 Date:                 March 4, 2013

 To:                   Mayor and Councilmembers

 From:                 Cindy M. Preas, Real Estate Administrator (657-4407)

 Subject:              Agenda Item for March 19, 2013 Council Meeting

 Contact:              Diana Farris, Property Specialist (657-4407)

 Caption:              Consent Item

                       Consideration of adopting a Resolution of the City of San Angelo authorizing the
                       mayor to execute a tax-resale (quitclaim) deed conveying all right, title and interest
                       of the City of San Angelo, and all other taxing units interested in the tax
                       foreclosure judgment:
                       1944 & 1948 Magnolia Street, (Gonzalez), Lots 1 & 2, Block 2, Avondale, $1,000, Suit
                       No.B99-0081-T
                       207 E Avenue L, (Perez), E 50’ x 238’ of a 1 acre Tract, Fisher Miller, $750, Suit
                       No.TAX89-0388B
                       725 Hughes Street, (Salinas), Lot 9, Block 2, Culwell, $950, Suit No. B-03-0087-T
                       816 Volney, (Salinas) Portion of Lots 6-8, Block 28, Miles, 1,500, Suit No. B-05-0192-T
                       111 E 13th Street, (Salinas), Lot 7, Block 57, Miles, ($1,200) Suit No. B-97-0170-T
                             th
                       329 13 Street, (Salinas), Lot 2, Block 2, Pecan Place, $750, Suit No.TAX90-0083B
                       1916 Shelton, (Sanchez), S ½ of Lot 12, Block 3, Home Acres, $2,500, Suit No.B-00-
                       0043-T

 Summary:              The subject properties were auctioned at Sheriff’s Sale. No offers were received
                       causing subject properties to be stuck-off to the City, as Trustee for itself and the
                       other taxing entities.

 History:              The attached Property Analysis reflects amounts of delinquent taxes, accrued
                       penalties, interest, attorney fees and costs for delinquent years of, together with
                       additional penalties and interest at the rates prescribed by Chapter 33, Texas
                       Property Tax Code.

 Financial Impact:     Upon approval: (1) The City will retain a $500 Administration fee; (2) The balance
                       will be distributed according to the judgment on the Sheriff’s Return; and (3)
                       Property will be reinstated back onto tax roll.

 Related Vision Item   Financial Vision – Examine liquidation of unused or underperforming city-owned
                       properties
 (if applicable):
                       Neighborhood Vision – Attract reinvestment

 Other Information/    Staff recommends approval.
 Recommendation:

 Attachments:          Property Analysis, Resolution, Tax-Resale Deed and Property Location Map

                                                                                                Adopted: 5/30/03
                                                                                                Revised: 6/21/10
Presentation:        N/A

Publication:         N/A

Reviewed by          Lysia H. Bowling, City Attorney
Director:

Approved by Legal:
A RESOLUTION OF THE CITY OF SAN ANGELO AUTHORIZING THE
       MAYOR TO EXECUTE A TAX-RESALE (QUITCLAIM) DEED
       CONVEYING ALL RIGHT, TITLE AND INTEREST OF THE CITY OF
       SAN ANGELO, AND ALL OTHER TAXING UNITS INTERESTED IN
       THE TAX FORECLOSURE JUDGMENT


  WHEREAS, by Sheriff’s Sale, the properties described below were struck-off to the City of
San Angelo, Trustee, pursuant to delinquent tax foreclosure decrees of the 119th and 340th
Judicial Districts, Tom Green County, Texas; and

 WHEREAS, offers have been made for the purchase of said properties pursuant to Section
34.05, Texas Tax Code Ann.(Vernon, 1982); and

  NOW THEREFORE BE IT RESOLVED BY THE CITY COUNCIL OF THE CITY OF
SAN ANGELO that its Mayor, Alvin New, is hereby authorized to execute a Tax-Resale
(quitclaim) Deed conveying the following described real properties to the following as specified
below, all of the right, title, and interest of the City of San Angelo, and all other taxing units
interested in the tax foreclosure judgment, located in San Angelo, Tom Green County, Texas:

Conveying to:

CARLOS GONZALEZ, a single person; ($1,000):

       Lots 1 & 2, Block 2, Avondale Addition, City of San Angelo, Tom Green County, Texas,
       according to the map or plat thereof, recorded in Volume 1, Page 86, Plat Records of
       Tom Green County, Texas.
       Account #02-12400-0002-001-00
                #02-12400-0002-002-00

GILBERT PEREZ, JR., a single person; ($750):

       The East 50’ x 238’ of a 1.00 acre Tract described in Volume 39, Page 621, Deed
       Records, said East 50’ being described in Volume 361, Page 196, Deed of Tom Green
       County, Texas.
       Account #38-00205-0013-000-00

RICHARD SALINAS, a married person as his sole and separate property; ($1,200):

       Lot 9, Block 2, Culwell Addition, City of San Angelo, Tom Green County, Texas, as
       described in deed recorded in Volume 648, Page 622, Deed Records of Tom Green
       County, Texas.
       Account #07-19800-0002-008-00

RICHARD SALINAS, a married person as his sole and separate property; ($1,200):

       Lot 7, Block 57, Miles Addition to the City of San Angelo, Tom Green County, Texas, as
       described in Volume 85, Page 576, Deed Records, Tom Green County, Texas.
       Account #19-34200-0057-007-00
RICHARD SALINAS, a married person as his sole and separate property; ($1,500):

          A portion of Lots 6, 7 and 8, Block 28, Miles Addition, an addition to the City of San
          Angelo, Tom Green County, Texas, as described in deed dated March 20, 1974 from
          Donald Nelson Holley, et ux. To George Jones, Sr., et ux., in Volume 611, Page 583,
          Deed Records of Tom Green County, Texas.
          Account #18-34200-0028-009-00

RICHARD SALINAS, a married person as his sole and separate property; ($750):

          Lot 2, Block 2, Pecan Place, being more particularly described in Volume 251, Page 235,
          Deed Records of Tom Green, Texas.
          Account #21-38600-0002-002-00

MARIA ROSA SANCHEZ, a single person, and LILLIANA SANCHEZ, a single person;
($2,500):

          The South one-half of Lot 12, Block 3, Home Acres Addition, City of San Angelo, Tom Green
          County, Texas, as described in Volume 288, Page 55, Deed Records of Tom Green County,
          Texas.
          Account #15-28100-0003-029-00

APPROVED AND ADOPTED ON THE                             DAY OF                       , 2013.


                                                         THE CITY OF SAN ANGELO

                                                         _______________________________
                                                         Alvin New, Mayor
Attest:

______________________________
Alicia Ramirez, City Clerk

Approved As to Content:                                  Approved As to Form:


______________________________                           ______________________________
Cindy M. Preas, Real Estate Administrator                Lysia H. Bowling, City Attorney
PROPERTY ANALYSIS
                                                     For Tax Resale Property

Legal Description:                    Lots 1 & 2, Block 2, Avondale Addition, City of San Angelo, Tom Green County,
                                     Texas, according to the map or plat thereof, recorded in Volume 1, Page 86, Plat
                                                            Records of Tom Green County, Texas.


Improved/Unimproved                Unimproved
Tax Suit Number:                   B99-0081-T
Location:                          1944 & 1948 Magnolia Street
Parcel Size/Dimensions:            50' x 130'
City of San Angelo vs.             J.F. Kite, Addie Kite, Mrs. N.E. Hicks Account #1391
Tax ID Number:                     #02-12400-0002-001-00             #02-12400-0002-002-00
Tax Warrant Date:                  October 26, 1999
Date of Sheriff's Sale:            December 7, 1999
Sheriff's Deed Recorded:           January 6, 2000
                                                                     Years Held in Trust                                    13 YRS
Adjudge Value:                     $ 1,800.00                        Purchased under Urban Redevelopment                      No
Amount of Offer:                   $ 1,000.00




                                   Amounts Due                          Priority    % of     Pro Rata    Amounts
                                      Fees     Judgment               Allocations Remainder Allocations Distributed
Administration Fee                    $500.00                             $500.00     0.00%                $500.00
Maintenance Fee                    $ 1,820.00                                              100.00% $         500.00 $         500.00
District Clerk                                       $         -                              0.00%                     $          -
Sheriff's Fee                                        $         -                              0.00%                     $          -
Attorney Fee                                         $         -                              0.00%                     $          -
Municipal Liens                    $            -           $0.00                             0.00%           $0.00            $0.00
Taxes                              $            -           $0.00                             0.00%           $0.00            $0.00
Total                                  $2,320.00 $             -           $500.00         100.00% $         500.00         $1,000.00
Actual Total Amt Due                                     $2,320.00
Amount Remaining                                                     $      500.00

        All costs according to the Tax Warrant have been perviously paid. Offer will satisfy a portion of the Maintenance costs.
NOTICE OF CONFIDENTIALITY RIGHTS: If you are a natural person, you may remove or
strike any or all of the following information from this instrument before it is filed for record in
the public records: your social security number or your driver’s license number.

                                               Tax-Resale Deed
                                     (Property Sold for Less than Adjudged Value)

   Date:            __________________________

   Grantor:         The City of San Angelo, a Texas home-rule municipal corporation, for itself and as Trustee
                    for itself, Tom Green County, and San Angelo Independent School District
                    72 West College Avenue
                    San Angelo, Tom Green County, Texas 76903

   Grantee:         CARLOS GONZALEZ, a single person
                    725 Amberton Parkway
                    San Angelo, Tom Green County, Texas 76901

   Consideration: Ten and No/100 Dollars ($10.00) and other good and valuable consideration

   Property (including any improvements):

                    Lots 1 & 2, Block 2, Avondale Addition, City of San Angelo, Tom Green County, Texas,
                    according to the map or plat thereof, recorded in Volume 1, Page 86, Plat Records of Tom
                    Green County, Texas.
                    Account #02-12400-0002-001-00
                             #02-12400-0002-002-00

   Tax Warrant: Tax Warrant for the foreclosure of a tax lien against the Property entered on October 26, 1999
                in Suit No. B-99-0081-T by the 340th District Court of Tom Green County, Texas.

   Sheriff’s Deed: Grantor acquired full legal title to the Property — both for its own benefit and as Trustee for
                   all other taxing authorities entitled to receive proceeds from the sale of the Property under the
                   terms of the Tax Warrant — by Sheriff’s Deed dated January 5, 2000, and recorded in
                   Volume 751, Page 622, Official Public Records of Real Property, Tom Green County, Texas.

            For the Consideration, Grantor — acting by and through its Mayor, who has been duly authorized to
   execute this instrument on Grantor’s behalf by resolution and order of Grantor’s City Council recorded in the
   City Council’s official minutes — hereby quitclaims to Grantee all of Grantor's right, title, and interest in and
   to the Property, to have and to hold it to Grantee and Grantee's heirs, successors, and assigns forever. Neither
   Grantor, nor any other taxing unit interested in the Tax Warrant, nor any other person or entity claiming under
   them, will have, claim, or demand any right or title to the Property or any part of it. Grantor gives this Tax-
   Resale Deed without any express or implied warranty whatsoever; and all warranties that might arise by
   common law and the warranties in § 5.023 of the Texas Property Code (or its successor) are hereby specifically
   excluded.

            Grantee's rights under this deed are subject to the provisions of Chapter 34 of the Texas Tax Code,
   including, without limitation, any right of redemption remaining in the former owner of the Property; the terms
   of any recorded restrictive covenants running with the land that were recorded before January 1 of the year in
which the tax lien on the property arose; any recorded lien that arose under such restrictive covenants that was
not extinguished in the judgment foreclosing the tax lien; and each valid easement of record as of the date of
the sale that was recorded before January 1 of the year the tax lien arose.

        Grantor is selling the Property to Grantee for an amount that is less than the lesser of (1) the market
value specified in the Judgment, or (2) the total amount of the Judgment.

        Grantee assumes full payment of any ad valorem taxes for the Property for the current year and all
future years.

        When the context requires, singular nouns and pronouns include the plural.

                                                            GRANTOR:

                                                            The City of San Angelo, a Texas home-rule
                                                            municipal corporation, for itself and as Trustee for
                                                            any taxing authorities named in the Judgment


ATTEST:                                                     By:     ____________________________
                                                                    Alvin New, Mayor and
                                                                    duly-authorized agent

Alicia Ramirez, City Clerk


STATE OF TEXAS                             §
                                           §
COUNTY OF TOM GREEN                        §

        This instrument was acknowledged before me on _____________________, 2013, by Alvin New,
Mayor and duly-authorized agent of the City of San Angelo, a Texas home-rule municipal corporation, on
behalf of such corporation and as Trustee for any taxing authorities named in the Judgment identified in the
above instrument.


                                                   __________________________________
                                                   Notary Public, State of Texas


After Recording, Return To:
E 50' x 238' of a 1 acre tract, Fisher & Miller
Addition
207 E Avenue L                      50' x 238'




Copyright 2011 Esri. All rights reserved. Tue Dec 20 2011 04:46:45 PM.
PROPERTY ANALYSIS
                                             For Tax Resale Property

Legal Description:         The East 50’ x 238’ of a 1.00 acre Tract out of Fisher & Miller, described in Volume
                            39, Page 621, Deed Records, said East 50’ being described in Volume 361, Page
                                                 196, Deed of Tom Green County, Texas.


Improved/Unimproved        Unimproved
Tax Suit Number:           TAX89-0388b
Location:                  207 E Avenue L
Parcel Size/Dimensions:    50' x 238'
City of San Angelo vs.     Balente Martinez a/k/a Valente Martinez Account #1448
Tax ID Number:             #38-00205-0013-000-00
Judgment Date:             October 14, 1992
Date of Sheriff's Sale:    August 1, 1995
Sheriff's Deed Recorded:   October 25, 1995
                                                             Years Held in Trust                           18 YRS
Adjudge Value:             $ 4,375.00                        Purchased under Urban Redevelopment            No
Amount of Offer:           $     750.00




                           Amounts Due                          Priority    % of     Pro Rata    Amounts
                              Fees     Judgment               Allocations Remainder Allocations Distributed
Administration Fee            $500.00                             $500.00     0.00%                $500.00
Maintenance Fee                                                                    0.00%               $         -
District Clerk                               $     131.00                          21.84% $    54.59 $        54.59
Sheriff's Fee                                $     156.93                          26.16% $    65.40 $        65.40
Attorney Fee                                 $     311.98                          52.00% $   130.01 $       130.01
Municipal Liens            $            -           $0.00                          0.00%       $0.00          $0.00
Taxes                      $            -        $3,775.09                         0.00%       $0.00          $0.00
Total                           $500.00          $3,775.09        $500.00      100.00% $      250.00        $750.00
Actual Total Amt Due                             $4,275.09 $       599.91
Amount Remaining                                             $     250.00

                           Offer will satisfy all costs according to the Judgment.
NOTICE OF CONFIDENTIALITY RIGHTS: If you are a natural person, you may remove or
strike any or all of the following information from this instrument before it is filed for record in
the public records: your social security number or your driver’s license number.

                                               Tax-Resale Deed
                                     (Property Sold for Less than Adjudged Value)

   Date:            __________________________

   Grantor:         The City of San Angelo, a Texas home-rule municipal corporation, for itself and as Trustee
                    for itself, Tom Green County, and San Angelo Independent School District
                    72 West College Avenue
                    San Angelo, Tom Green County, Texas 76903

   Grantee:         GILBERT PEREZ, JR, a single person
                    712 Era Street
                    San Angelo, Tom Green County, Texas 76905

   Consideration: Ten and No/100 Dollars ($10.00) and other good and valuable consideration

   Property (including any improvements):

                    The East 50’ x 238’ of a 1.00 acre Tract described in Volume 39, Page 621, Deed Records,
                    said East 50’ being described in Volume 361, Page 196, Deed of Tom Green County, Texas.
                    Account #38-00205-0013-000-00

   Judgment:        Judgment for the foreclosure of a tax lien against the Property entered on October 14, 1992 in
                    Suit No. TAX89-0388-B by the 119th District Court of Tom Green County, Texas.

   Sheriff’s Deed: Grantor acquired full legal title to the Property — both for its own benefit and as Trustee for
                   all other taxing authorities entitled to receive proceeds from the sale of the Property under the
                   terms of the Judgment — by Sheriff’s Deed dated September 20, 1995, and recorded in
                   Volume 502, Page 55, Official Public Records of Real Property, Tom Green County, Texas.

            For the Consideration, Grantor — acting by and through its Mayor, who has been duly authorized to
   execute this instrument on Grantor’s behalf by resolution and order of Grantor’s City Council recorded in the
   City Council’s official minutes — hereby quitclaims to Grantee all of Grantor's right, title, and interest in and
   to the Property, to have and to hold it to Grantee and Grantee's heirs, successors, and assigns forever. Neither
   Grantor, nor any other taxing unit interested in the Judgment, nor any other person or entity claiming under
   them, will have, claim, or demand any right or title to the Property or any part of it. Grantor gives this Tax-
   Resale Deed without any express or implied warranty whatsoever; and all warranties that might arise by
   common law and the warranties in § 5.023 of the Texas Property Code (or its successor) are hereby specifically
   excluded.

            Grantee's rights under this deed are subject to the provisions of Chapter 34 of the Texas Tax Code,
   including, without limitation, any right of redemption remaining in the former owner of the Property; the terms
   of any recorded restrictive covenants running with the land that were recorded before January 1 of the year in
   which the tax lien on the property arose; any recorded lien that arose under such restrictive covenants that was
not extinguished in the judgment foreclosing the tax lien; and each valid easement of record as of the date of
the sale that was recorded before January 1 of the year the tax lien arose.

        Grantor is selling the Property to Grantee for an amount that is less than the lesser of (1) the market
value specified in the Judgment, or (2) the total amount of the Judgment.

        Grantee assumes full payment of any ad valorem taxes for the Property for the current year and all
future years.

        When the context requires, singular nouns and pronouns include the plural.

                                                           GRANTOR:

                                                           The City of San Angelo, a Texas home-rule
                                                           municipal corporation, for itself and as Trustee for
                                                           any taxing authorities named in the Judgment


ATTEST:                                                    By:      ____________________________
                                                                    Alvin New, Mayor and
                                                                    duly-authorized agent

Alicia Ramirez, City Clerk


STATE OF TEXAS                            §
                                          §
COUNTY OF TOM GREEN                       §

        This instrument was acknowledged before me on _____________________, 2013, by Alvin New,
Mayor and duly-authorized agent of the City of San Angelo, a Texas home-rule municipal corporation, on
behalf of such corporation and as Trustee for any taxing authorities named in the Judgment identified in the
above instrument.


                                                   __________________________________
                                                   Notary Public, State of Texas


After Recording, Return To:
725 Hughes Street, Lot 9, Block 2, Culwell Addition       60' x 115'




March 5, 2013                                                                                           1:1,349
                                                                                  0        0.01       0.02        0.04 mi
      Zip Codes
                                                                                  0       0.0175       0.035         0.07 km
      City Address Points                                               Copyright:© 2013 ESRI, NAVTEQ, DeLorme

      Pending City Addresses
PROPERTY ANALYSIS
                                                 For Tax Resale Property

Legal Description:                  Lot 9, Block 2, Culwell Addition, City of San Angelo, Tom Green County, Texas, as
                                   described in deed recorded in Volume 648, Page 622, Deed Records of Tom Green
                                                                       County, Texas.


Improved/Unimproved           Unimproved
Tax Suit Number:              B-03-0087-T
Location:                     725 Hughes Street
Parcel Size/Dimensions:       52' x 86'
City of San Angelo vs.        John D. Northcutt      Account #6883
Tax ID Number:                #07-19800-0002-008-00
Judgment Date:                January 18, 2005
Date of Sheriff's Sale:       April 4, 2006
Sheriff's Deed Recorded:      April 11, 2006
                                                             Years Held in Trust                                7 YRS
Adjudge Value:                 $ 2,100.00                    Purchased under Urban Redevelopment                 No
Amount of Offer:               $ 1,200.00




                              Amounts Due                       Priority    % of             Pro Rata       Amounts
                                 Fees     Judgment            Allocations Remainder         Allocations    Distributed
Administration Fee               $500.00                          $500.00     0.00%                           $500.00
Maintenance Fee                $      980.00                                       0.00%                   $          -
District Clerk                       $236.00                      $236.00          0.00%                        $236.00
Sheriff's Fee                        $100.00                      $100.00          0.00%                        $100.00
Attorney Fee                         $332.00                      $332.00          0.00%                        $332.00
Municipal Liens                                      $0.00                         0.00%           $0.00          $0.00
Taxes                                            $1,778.00                     100.00%            $32.00         $32.00
Total                              $2,148.00 $ 1,778.00          $1,168.00     100.00% $           32.00       $1,200.00
Actual Total Amt Due                             $3,926.00
Amount Remaining                                             $       32.00

                           Offer will satisfy all court costs and a small portion of the Taxes.
NOTICE OF CONFIDENTIALITY RIGHTS: If you are a natural person, you may remove or
strike any or all of the following information from this instrument before it is filed for record in
the public records: your social security number or your driver’s license number.

                                               Tax-Resale Deed
                                     (Property Sold for Less than Adjudged Value)

   Date:            __________________________

   Grantor:         The City of San Angelo, a Texas home-rule municipal corporation, for itself and as Trustee
                    for itself, Tom Green County, and San Angelo Independent School District
                    72 West College Avenue
                    San Angelo, Tom Green County, Texas 76903

   Grantee:         RICHARD SALINAS, a married person as his sole and separate property
                    2107 Greenwood
                    San Angelo, Tom Green County, Texas 76901

   Consideration: Ten and No/100 Dollars ($10.00) and other good and valuable consideration

   Property (including any improvements):

                    Lot 9, Block 2, Culwell Addition, City of San Angelo, Tom Green County, Texas, as
                    described in deed recorded in Volume 648, Page 622, Deed Records of Tom Green
                    County, Texas.
                    Account #07-19800-0002-008-00

   Judgment:        Judgment for the foreclosure of a tax lien against the Property entered on January 18, 2005 in
                    Suit No. B-03-0087-T by the 119th District Court of Tom Green County, Texas.

   Sheriff’s Deed: Grantor acquired full legal title to the Property — both for its own benefit and as Trustee for
                   all other taxing authorities entitled to receive proceeds from the sale of the Property under the
                   terms of the Judgment — by Sheriff’s Deed dated April 11, 2006, and recorded in
                   Instrument Number 609008, Official Public Records of Real Property, Tom Green County,
                   Texas.

            For the Consideration, Grantor — acting by and through its Mayor, who has been duly authorized to
   execute this instrument on Grantor’s behalf by resolution and order of Grantor’s City Council recorded in the
   City Council’s official minutes — hereby quitclaims to Grantee all of Grantor's right, title, and interest in and
   to the Property, to have and to hold it to Grantee and Grantee's heirs, successors, and assigns forever. Neither
   Grantor, nor any other taxing unit interested in the Judgment, nor any other person or entity claiming under
   them, will have, claim, or demand any right or title to the Property or any part of it. Grantor gives this Tax-
   Resale Deed without any express or implied warranty whatsoever; and all warranties that might arise by
   common law and the warranties in § 5.023 of the Texas Property Code (or its successor) are hereby specifically
   excluded.

            Grantee's rights under this deed are subject to the provisions of Chapter 34 of the Texas Tax Code,
   including, without limitation, any right of redemption remaining in the former owner of the Property; the terms
   of any recorded restrictive covenants running with the land that were recorded before January 1 of the year in
which the tax lien on the property arose; any recorded lien that arose under such restrictive covenants that was
not extinguished in the judgment foreclosing the tax lien; and each valid easement of record as of the date of
the sale that was recorded before January 1 of the year the tax lien arose.

        Grantor is selling the Property to Grantee for an amount that is less than the lesser of (1) the market
value specified in the Judgment, or (2) the total amount of the Judgment.

        Grantee assumes full payment of any ad valorem taxes for the Property for the current year and all
future years.

        When the context requires, singular nouns and pronouns include the plural.

                                                            GRANTOR:

                                                            The City of San Angelo, a Texas home-rule
                                                            municipal corporation, for itself and as Trustee for
                                                            any taxing authorities named in the Judgment


ATTEST:                                                     By:     ____________________________
                                                                    Alvin New, Mayor and
                                                                    duly-authorized agent

Alicia Ramirez, City Clerk


STATE OF TEXAS                             §
                                           §
COUNTY OF TOM GREEN                        §

        This instrument was acknowledged before me on _____________________, 2013, by Alvin New,
Mayor and duly-authorized agent of the City of San Angelo, a Texas home-rule municipal corporation, on
behalf of such corporation and as Trustee for any taxing authorities named in the Judgment identified in the
above instrument.


                                                   __________________________________
                                                   Notary Public, State of Texas


After Recording, Return To:
816 Volney Street, A Portion of Lots 6,7 & 8 , Block 28, Miles Addition 40' x 120'




March 5, 2013                                                                                                                              1:2,699
                                                                                                                     0        0.0225       0.045      0.09 mi
     City Address Points      County Address Points      Parcels                   Abandonments Approved
                                                                                                                     0        0.035        0.07      0.14 km
     Pending City Addresses   Pending County Addresses   Platted Lot Line Labels   Abandonments Denied
                                                                                                           Copyright:© 2013 ESRI, NAVTEQ, DeLorme
     Retired City Addresses   Retired County Addresses   Platted Lot Lines         Abandonments Expired
PROPERTY ANALYSIS
                                                For Tax Resale Property

Legal Description:          A portion of Lots 6, 7 and 8, Block 28, Miles Addition, an addition to the City of San
                            Angelo, Tom Green County, Texas, as described in deed dated March 20, 1974 from
                             Donald Nelson Holley, et ux. to George Jones, Sr., et ux., in Volume 611, Page 583,
                                                 Deed Records of Tom Green County, Texas.
Improved/Unimproved        Unimproved
Tax Suit Number:           B-05-0192-T
Location:                  816 Volney Street
Parcel Size/Dimensions:    40' x 120'
City of San Angelo vs.     Joseph Jones Acct-Unknown Lula B. Jones Acct #3835 Sylvia A. Jenkins Acct #1365

Tax ID Number:             #18-34200-0028-009-00
Judgment Date:             August 7, 2009
Date of Sheriff's Sale:    November 3, 2009
Sheriff's Deed Recorded:   November 23, 2009
                                                            Years Held in Trust                               4 YRS
Adjudge Value:             $ 3,000.00                       Purchased under Urban Redevelopment                No
Amount of Offer:           $ 1,900.00




                           Amounts Due                         Priority    % of            Pro Rata       Amounts
                              Fees     Judgment              Allocations Remainder        Allocations    Distributed
Administration Fee            $500.00                            $500.00     0.00%                          $500.00
Maintenance Fee            $     560.00                            $0.00      100.00% $        402.00 $        402.00
District Clerk                              $     533.00 $        533.00          0.00%                       $533.00
Sheriff's Fee                               $     100.00 $        100.00          0.00%                       $100.00
Attorney Fee                                $     365.00 $        365.00          0.00%                       $365.00
Municipal Liens                                  $981.22                          0.00%          $0.00          $0.00
Taxes                                           $6,101.42                         0.00%          $0.00          $0.00
Total                          $1,060.00 $ 8,080.64             $1,498.00     100.00% $        402.00        $1,900.00
Actual Total Amt Due                            $9,140.64
Amount Remaining                                            $     402.00

                           Offer will satisfy all court cost according to the Judgment.
NOTICE OF CONFIDENTIALITY RIGHTS: If you are a natural person, you may remove or
strike any or all of the following information from this instrument before it is filed for record in
the public records: your social security number or your driver’s license number.

                                               Tax-Resale Deed
                                     (Property Sold for Less than Adjudged Value)

   Date:            __________________________

   Grantor:         The City of San Angelo, a Texas home-rule municipal corporation, for itself and as Trustee
                    for itself, Tom Green County, and San Angelo Independent School District
                    72 West College Avenue
                    San Angelo, Tom Green County, Texas 76903

   Grantee:         RICHARD SALINAS, a married person as his sole and separate property
                    2107 Greenwood
                    San Angelo, Tom Green County, Texas 76901

   Consideration: Ten and No/100 Dollars ($10.00) and other good and valuable consideration

   Property (including any improvements):

                    A portion of Lots 6, 7 and 8, Block 28, Miles Addition, an addition to the City of San
                    Angelo, Tom Green County, Texas, as described in deed dated March 20, 1974 from
                    Donald Nelson Holley, et ux. To George Jones, Sr., et ux., in Volume 611, Page 583,
                    Deed Records of Tom Green County, Texas.
                    Account #18-34200-0028-009-00

   Judgment:        Judgment for the foreclosure of a tax lien against the Property entered on August 7, 2009 in
                    Suit No. B-05-0192-T by the 119th District Court of Tom Green County, Texas.

   Sheriff’s Deed: Grantor acquired full legal title to the Property — both for its own benefit and as Trustee for
                   all other taxing authorities entitled to receive proceeds from the sale of the Property under the
                   terms of the Judgment — by Sheriff’s Deed dated November 20, 2009, and recorded in
                   Instrument Number 678726, Official Public Records of Real Property, Tom Green County,
                   Texas.

            For the Consideration, Grantor — acting by and through its Mayor, who has been duly authorized to
   execute this instrument on Grantor’s behalf by resolution and order of Grantor’s City Council recorded in the
   City Council’s official minutes — hereby quitclaims to Grantee all of Grantor's right, title, and interest in and
   to the Property, to have and to hold it to Grantee and Grantee's heirs, successors, and assigns forever. Neither
   Grantor, nor any other taxing unit interested in the Judgment, nor any other person or entity claiming under
   them, will have, claim, or demand any right or title to the Property or any part of it. Grantor gives this Tax-
   Resale Deed without any express or implied warranty whatsoever; and all warranties that might arise by
   common law and the warranties in § 5.023 of the Texas Property Code (or its successor) are hereby specifically
   excluded.

           Grantee's rights under this deed are subject to the provisions of Chapter 34 of the Texas Tax Code,
   including, without limitation, any right of redemption remaining in the former owner of the Property; the terms
of any recorded restrictive covenants running with the land that were recorded before January 1 of the year in
which the tax lien on the property arose; any recorded lien that arose under such restrictive covenants that was
not extinguished in the judgment foreclosing the tax lien; and each valid easement of record as of the date of
the sale that was recorded before January 1 of the year the tax lien arose.

        Grantor is selling the Property to Grantee for an amount that is less than the lesser of (1) the market
value specified in the Judgment, or (2) the total amount of the Judgment.

        Grantee assumes full payment of any ad valorem taxes for the Property for the current year and all
future years.

        When the context requires, singular nouns and pronouns include the plural.

                                                            GRANTOR:

                                                            The City of San Angelo, a Texas home-rule
                                                            municipal corporation, for itself and as Trustee for
                                                            any taxing authorities named in the Judgment


ATTEST:                                                     By:     ____________________________
                                                                    Alvin New, Mayor and
                                                                    duly-authorized agent

Alicia Ramirez, City Clerk


STATE OF TEXAS                             §
                                           §
COUNTY OF TOM GREEN                        §

        This instrument was acknowledged before me on _____________________, 2013, by Alvin New,
Mayor and duly-authorized agent of the City of San Angelo, a Texas home-rule municipal corporation, on
behalf of such corporation and as Trustee for any taxing authorities named in the Judgment identified in the
above instrument.


                                                   __________________________________
                                                   Notary Public, State of Texas


After Recording, Return To:
111 E 13th Street, Lot 7, Block 57, Miles Addition 50' x 100'




March 5, 2013                                                                                            1:1,349
                                                                                   0        0.01       0.02        0.04 mi
      Zip Codes
                                                                                   0       0.0175       0.035         0.07 km
      City Address Points                                                Copyright:© 2013 ESRI, NAVTEQ, DeLorme

      Pending City Addresses
PROPERTY ANALYSIS
                                               For Tax Resale Property

Legal Description:         Lot 7, Block 57, Miles Addition to the City of San Angelo, Tom Green County, Texas, as
                                described in Volume 85, Page 576, Deed Records, Tom Green County, Texas.



Improved/Unimproved        Unimproved
Tax Suit Number:           B-97-0170-T
Location:                  111 E 13th Street
Parcel Size/Dimensions:    50' x 100'
City of San Angelo vs.     Frank B. Snodgrass, Jr. Account #1692
Tax ID Number:             #19-34200-0057-007-00
Judgment Date:             July 7, 1999
Date of Sheriff's Sale:    March 5, 2002
Sheriff's Deed Recorded:   March 25, 2002
                                                           Years Held in Trust                             11 YRS
Adjudge Value:             $ 3,000.00                      Purchased under Urban Redevelopment               No
Amount of Offer:           $ 1,200.00




                           Amounts Due                        Priority    % of             Pro Rata       Amounts
                              Fees     Judgment             Allocations Remainder         Allocations    Distributed
Administration Fee            $500.00                           $500.00     0.00%                           $500.00
Maintenance Fee            $ 1,540.00                             $0.00      100.00% $         317.00 $      317.00
District Clerk                             $     103.00 $        103.00          0.00%                      $103.00
Sheriff's Fee                              $      40.00 $         40.00          0.00%                       $40.00
Attorney Fee                               $     240.00 $        240.00          0.00%                      $240.00
Municipal Liens                                   $0.00                          0.00%           $0.00        $0.00
Taxes                                          $3,298.48                         0.00%           $0.00        $0.00
Total                         $2,040.00 $ 3,681.48              $883.00      100.00% $         317.00     $1,200.00
Actual Total Amt Due                           $5,721.48
Amount Remaining                                           $     317.00

                           Offer will satisfy all court cost according to the Judgment.
NOTICE OF CONFIDENTIALITY RIGHTS: If you are a natural person, you may remove or
strike any or all of the following information from this instrument before it is filed for record in
the public records: your social security number or your driver’s license number.

                                               Tax-Resale Deed
                                     (Property Sold for Less than Adjudged Value)

   Date:            __________________________

   Grantor:         The City of San Angelo, a Texas home-rule municipal corporation, for itself and as Trustee
                    for itself, Tom Green County, and San Angelo Independent School District
                    72 West College Avenue
                    San Angelo, Tom Green County, Texas 76903

   Grantee:         RICHARD SALINAS, a married person as his sole and separate property
                    2107 Greenwood
                    San Angelo, Tom Green County, Texas 76901

   Consideration: Ten and No/100 Dollars ($10.00) and other good and valuable consideration

   Property (including any improvements):

                    Lot 7, Block 57, Miles Addition to the City of San Angelo, Tom Green County, Texas, as
                    described in Volume 85, Page 576, Deed Records, Tom Green County, Texas.
                    Account #19-34200-0057-007-00

   Judgment:        Judgment for the foreclosure of a tax lien against the Property entered on July 7, 1999 in Suit
                    No. B-97-0170-T by the 119th District Court of Tom Green County, Texas.

   Sheriff’s Deed: Grantor acquired full legal title to the Property — both for its own benefit and as Trustee for
                   all other taxing authorities entitled to receive proceeds from the sale of the Property under the
                   terms of the Judgment — by Sheriff’s Deed dated March 25, 2002, and recorded in
                   Volume 902, Page 534, Official Public Records of Real Property, Tom Green County, Texas.

            For the Consideration, Grantor — acting by and through its Mayor, who has been duly authorized to
   execute this instrument on Grantor’s behalf by resolution and order of Grantor’s City Council recorded in the
   City Council’s official minutes — hereby quitclaims to Grantee all of Grantor's right, title, and interest in and
   to the Property, to have and to hold it to Grantee and Grantee's heirs, successors, and assigns forever. Neither
   Grantor, nor any other taxing unit interested in the Judgment, nor any other person or entity claiming under
   them, will have, claim, or demand any right or title to the Property or any part of it. Grantor gives this Tax-
   Resale Deed without any express or implied warranty whatsoever; and all warranties that might arise by
   common law and the warranties in § 5.023 of the Texas Property Code (or its successor) are hereby specifically
   excluded.

            Grantee's rights under this deed are subject to the provisions of Chapter 34 of the Texas Tax Code,
   including, without limitation, any right of redemption remaining in the former owner of the Property; the terms
   of any recorded restrictive covenants running with the land that were recorded before January 1 of the year in
   which the tax lien on the property arose; any recorded lien that arose under such restrictive covenants that was
not extinguished in the judgment foreclosing the tax lien; and each valid easement of record as of the date of
the sale that was recorded before January 1 of the year the tax lien arose.

        Grantor is selling the Property to Grantee for an amount that is less than the lesser of (1) the market
value specified in the Judgment, or (2) the total amount of the Judgment.

        Grantee assumes full payment of any ad valorem taxes for the Property for the current year and all
future years.

        When the context requires, singular nouns and pronouns include the plural.

                                                           GRANTOR:

                                                           The City of San Angelo, a Texas home-rule
                                                           municipal corporation, for itself and as Trustee for
                                                           any taxing authorities named in the Judgment


ATTEST:                                                    By:      ____________________________
                                                                    Alvin New, Mayor and
                                                                    duly-authorized agent

Alicia Ramirez, City Clerk


STATE OF TEXAS                            §
                                          §
COUNTY OF TOM GREEN                       §

        This instrument was acknowledged before me on _____________________, 2013, by Alvin New,
Mayor and duly-authorized agent of the City of San Angelo, a Texas home-rule municipal corporation, on
behalf of such corporation and as Trustee for any taxing authorities named in the Judgment identified in the
above instrument.


                                                   __________________________________
                                                   Notary Public, State of Texas


After Recording, Return To:
Lot 2, Block 2, Pecan Place Addition
329 E 13th St                            52' x 86'




Copyright 2011 Esri. All rights reserved. Thu Dec 22 2011 09:08:38 AM.
PROPERTY ANALYSIS
                                              For Tax Resale Property

Legal Description:             Lot 2, Block 2, Pecan Place, being more particularly described in Volume 251, Page
                                                     235, Deed Records of Tom Green, Texas.



Improved/Unimproved        Unimproved
Tax Suit Number:           TAX90-0083B
Location:                  329 13th Street
Parcel Size/Dimensions:    52' x 86'
City of San Angelo vs.     Roy L. Mayo Account #918
Tax ID Number:             21-38600-0002-002-00
Judgment Date:             June 16, 1993
Date of Sheriff's Sale:    February 4, 1997
Sheriff's Deed Recorded:   February 21, 1997
                                                         Years Held in Trust                              16 YRS
Adjudge Value:             $ 4,269.00                    Purchased under Urban Redevelopment                No
Amount of Offer:           $      750.00




                           Amounts Due                      Priority    % of              Pro Rata       Amounts
                              Fees     Judgment           Allocations Remainder          Allocations    Distributed
Administration Fee            $500.00                         $500.00     0.00%                            $500.00
Maintenance Fee            $ 2,240.00                           $0.00      100.00% $          250.00 $      250.00
District Clerk                     $0.00                        $0.00          0.00%                         $0.00
Sheriff's Fee                      $0.00                        $0.00          0.00%                         $0.00
Attorney Fee                       $0.00                        $0.00          0.00%                         $0.00
Municipal Liens                                  $0.00                         0.00%            $0.00        $0.00
Taxes                                            $0.00                         0.00%            $0.00        $0.00
Total                          $2,740.00 $          -         $500.00      100.00% $          250.00       $750.00
Actual Total Amt Due                         $2,740.00
Amount Remaining                                         $     250.00

                           Offer will satisfy a portion of the fees. No costs are due.
NOTICE OF CONFIDENTIALITY RIGHTS: If you are a natural person, you may remove or
strike any or all of the following information from this instrument before it is filed for record in
the public records: your social security number or your driver’s license number.

                                               Tax-Resale Deed
                                     (Property Sold for Less than Adjudged Value)

   Date:            __________________________

   Grantor:         The City of San Angelo, a Texas home-rule municipal corporation, for itself and as Trustee
                    for itself, Tom Green County, and San Angelo Independent School District
                    72 West College Avenue
                    San Angelo, Tom Green County, Texas 76903

   Grantee:         RICHARD SALINAS, a married person as his sole and separate property
                    2107 Greenwood
                    San Angelo, Tom Green County, Texas 76901

   Consideration: Ten and No/100 Dollars ($10.00) and other good and valuable consideration

   Property (including any improvements):

                    Lot 2, Block 2, Pecan Place, being more particularly described in Volume 251, Page 235,
                    Deed Records of Tom Green, Texas.
                    Account #21-38600-0002-002-00

   Judgment:        Judgment for the foreclosure of a tax lien against the Property entered on June 16, 1993 in
                    Suit No. TAX90-0083B by the 119th District Court of Tom Green County, Texas.

   Sheriff’s Deed: Grantor acquired full legal title to the Property — both for its own benefit and as Trustee for
                   all other taxing authorities entitled to receive proceeds from the sale of the Property under the
                   terms of the Judgment — by Sheriff’s Deed dated February 17, 1997, and recorded in
                   Volume 570, Page 84, Official Public Records of Real Property, Tom Green County, Texas.

            For the Consideration, Grantor — acting by and through its Mayor, who has been duly authorized to
   execute this instrument on Grantor’s behalf by resolution and order of Grantor’s City Council recorded in the
   City Council’s official minutes — hereby quitclaims to Grantee all of Grantor's right, title, and interest in and
   to the Property, to have and to hold it to Grantee and Grantee's heirs, successors, and assigns forever. Neither
   Grantor, nor any other taxing unit interested in the Judgment, nor any other person or entity claiming under
   them, will have, claim, or demand any right or title to the Property or any part of it. Grantor gives this Tax-
   Resale Deed without any express or implied warranty whatsoever; and all warranties that might arise by
   common law and the warranties in § 5.023 of the Texas Property Code (or its successor) are hereby specifically
   excluded.

            Grantee's rights under this deed are subject to the provisions of Chapter 34 of the Texas Tax Code,
   including, without limitation, any right of redemption remaining in the former owner of the Property; the terms
   of any recorded restrictive covenants running with the land that were recorded before January 1 of the year in
   which the tax lien on the property arose; any recorded lien that arose under such restrictive covenants that was
not extinguished in the judgment foreclosing the tax lien; and each valid easement of record as of the date of
the sale that was recorded before January 1 of the year the tax lien arose.

        Grantor is selling the Property to Grantee for an amount that is less than the lesser of (1) the market
value specified in the Judgment, or (2) the total amount of the Judgment.

        Grantee assumes full payment of any ad valorem taxes for the Property for the current year and all
future years.

        When the context requires, singular nouns and pronouns include the plural.

                                                           GRANTOR:

                                                           The City of San Angelo, a Texas home-rule
                                                           municipal corporation, for itself and as Trustee for
                                                           any taxing authorities named in the Judgment


ATTEST:                                                    By:      ____________________________
                                                                    Alvin New, Mayor and
                                                                    duly-authorized agent

Alicia Ramirez, City Clerk


STATE OF TEXAS                            §
                                          §
COUNTY OF TOM GREEN                       §

        This instrument was acknowledged before me on _____________________, 2013, by Alvin New,
Mayor and duly-authorized agent of the City of San Angelo, a Texas home-rule municipal corporation, on
behalf of such corporation and as Trustee for any taxing authorities named in the Judgment identified in the
above instrument.


                                                   __________________________________
                                                   Notary Public, State of Texas


After Recording, Return To:
1916 Shleton St. S 1/2 of Lot 12, Block 3, Home Acres 87' x 250'




March 7, 2013                                                                                         1:2,699
                                                                                0        0.0225       0.045      0.09 mi
      City Address Points
                                                                                0        0.035        0.07      0.14 km
      Pending City Addresses                                          Copyright:© 2013 ESRI, NAVTEQ, DeLorme

      Retired City Addresses

      County Address Points
PROPERTY ANALYSIS
                                                 For Tax Resale Property

Legal Description:               The South one-half of Lot 12, Block 3, Home Acres Addition, City of San Angelo,
                                Tom Green County, Texas, as described in Volume 288, Page 55, Deed Records of
                                                           Tom Green County, Texas.


Improved/Unimproved            Unimproved
Tax Suit Number:               B-00-0043-T
Location:                      1916 Shelton
Parcel Size/Dimensions:        87' x 250'
City of San Angelo vs.         Eddie May Brown Account #5610 and R.J. Brown Account #8515
Tax ID Number:                 #15-28100-0003-029-00
Judgment Date:                 January 6, 2004
Date of Sheriff's Sale:        November 1, 2011
Sheriff's Deed Recorded:       November 17, 2011
                                                              Years Held in Trust                               1 YR
Adjudge Value:                  $ 5,200.00                    Purchased under Urban Redevelopment                No
Amount of Offer:                $ 2,500.00




                               Amounts Due                       Priority    % of     Pro Rata    Amounts
                                  Fees     Judgment            Allocations Remainder Allocations Distributed
Administration Fee                $500.00                          $500.00     0.00%                $500.00
Maintenance Fee                 $     350.00                                         0.00%                 $           -
District Clerk                        $34.00                        $34.00           0.00% $          -    $           -
Sheriff's Fee                        $100.00                       $100.00           0.00% $          -    $           -
Attorney Fee                         $208.00                       $208.00           0.00% $          -    $           -
Municipal Liens                 $           -      $794.06                          10.82%      $141.50         $141.50
Taxes                           $           -     $6,546.19                         89.18%     $1,166.50       $1,166.50
Total                               $1,192.00     $7,340.25        $842.00      100.00% $ 1,308.00             $1,808.00
Actual Total Amt Due                              $8,532.25
Amount Remaining                                              $   1,308.00

                     Offer will satisfy all court costs and a small portion of the taxes and liens.
NOTICE OF CONFIDENTIALITY RIGHTS: If you are a natural person, you may remove or
strike any or all of the following information from this instrument before it is filed for record in
the public records: your social security number or your driver’s license number.

                                               Tax-Resale Deed
                                     (Property Sold for Less than Adjudged Value)

   Date:            __________________________

   Grantor:         The City of San Angelo, a Texas home-rule municipal corporation, for itself and as Trustee
                    for itself, Tom Green County, and San Angelo Independent School District
                    72 West College Avenue
                    San Angelo, Tom Green County, Texas 76903

   Grantee:         MARIA ROSA SANCHEZ, a single person and LILLIANA SANCHEZ, a single person
                    718 W 19th Street
                    San Angelo, Tom Green County, Texas 76903

   Consideration: Ten and No/100 Dollars ($10.00) and other good and valuable consideration

   Property (including any improvements):

                    The South one-half of Lot 12, Block 3, Home Acres Addition, City of San Angelo, Tom
                    Green County, Texas, as described in Volume 288, Page 55, Deed Records of Tom Green
                    County, Texas.
                    Account #15-28100-0003-029-00

   Judgment:        Judgment for the foreclosure of a tax lien against the Property entered on January 6, 2004 in
                    Suit No. B-00-0043-T by the 119th District Court of Tom Green County, Texas.

   Sheriff’s Deed: Grantor acquired full legal title to the Property — both for its own benefit and as Trustee for
                   all other taxing authorities entitled to receive proceeds from the sale of the Property under the
                   terms of the Judgment — by Sheriff’s Deed dated November 17, 2011, and recorded in
                   Instrument 710996, Official Public Records of Real Property, Tom Green County, Texas.

            For the Consideration, Grantor — acting by and through its Mayor, who has been duly authorized to
   execute this instrument on Grantor’s behalf by resolution and order of Grantor’s City Council recorded in the
   City Council’s official minutes — hereby quitclaims to Grantee all of Grantor's right, title, and interest in and
   to the Property, to have and to hold it to Grantee and Grantee's heirs, successors, and assigns forever. Neither
   Grantor, nor any other taxing unit interested in the Judgment, nor any other person or entity claiming under
   them, will have, claim, or demand any right or title to the Property or any part of it. Grantor gives this Tax-
   Resale Deed without any express or implied warranty whatsoever; and all warranties that might arise by
   common law and the warranties in § 5.023 of the Texas Property Code (or its successor) are hereby specifically
   excluded.

            Grantee's rights under this deed are subject to the provisions of Chapter 34 of the Texas Tax Code,
   including, without limitation, any right of redemption remaining in the former owner of the Property; the terms
   of any recorded restrictive covenants running with the land that were recorded before January 1 of the year in
   which the tax lien on the property arose; any recorded lien that arose under such restrictive covenants that was
not extinguished in the judgment foreclosing the tax lien; and each valid easement of record as of the date of
the sale that was recorded before January 1 of the year the tax lien arose.

        Grantor is selling the Property to Grantee for an amount that is less than the lesser of (1) the market
value specified in the Judgment, or (2) the total amount of the Judgment.

        Grantee assumes full payment of any ad valorem taxes for the Property for the current year and all
future years.

        When the context requires, singular nouns and pronouns include the plural.

                                                           GRANTOR:

                                                           The City of San Angelo, a Texas home-rule
                                                           municipal corporation, for itself and as Trustee for
                                                           any taxing authorities named in the Judgment


ATTEST:                                                    By:      ____________________________
                                                                    Alvin New, Mayor and
                                                                    duly-authorized agent

Alicia Ramirez, City Clerk


STATE OF TEXAS                            §
                                          §
COUNTY OF TOM GREEN                       §

        This instrument was acknowledged before me on _____________________, 2013, by Alvin New,
Mayor and duly-authorized agent of the City of San Angelo, a Texas home-rule municipal corporation, on
behalf of such corporation and as Trustee for any taxing authorities named in the Judgment identified in the
above instrument.


                                                   __________________________________
                                                   Notary Public, State of Texas


After Recording, Return To:
City of San Angelo



Memo
 Date:                 March 6, 2013

 To:                   Mayor and Councilmembers

 From:                 Michael Dane, ACM/CFO

 Subject:              Agenda Item for March 19, 2013 Council Meeting

 Contact:              Morgan Trainer, Budget, 325-653-6291

 Caption:              Consent Agenda

                       Consideration of adoption of a resolution allowing the City Manager or his
                       designee to negotiate and execute a contract with the Chamber of Commerce
                       Convention & Visitors Bureau allocating Hotel Occupancy Tax funds.

 Summary:              City staff is requesting the City Council consider adopting a resolution allowing
                       staff to continue negotiating terms of the Chamber of Commerce Convention &
                       Visitors Bureau contract for use of hotel occupancy tax dollars. Due to San
                       Angelo’s changing economy and positive hotel occupancy tax experience, it is
                       prudent to change existing methodology to provide the best value to the citizens
                       of San Angelo.

 History:              The City of San Angelo levied the hotel occupancy tax for the operation of
                       convention facilities, the promotion of tourism, and the improvement of the arts.
                       Current contracts and ordinances allocate 48% of tax receipts to City of San
                       Angelo Civic Events, 47% to the Convention & Visitors Bureau, and the
                       remaining 5% to the San Angelo Cultural Affairs Council. The current tax rate is
                       7% for the City of San Angelo. The state levies an additional 6%. No change is
                       proposed to the tax levy.
                       On February 5, 2013 City Council discussed changing the Hotel Occupancy Tax
                       allocation process. On March 5, 2013 staff presented a draft contract with the
                       Chamber of Commerce Convention & Visitors Bureau to revise the way Hotel
                       Occupancy Tax dollars are disbursed to include clear communication,
                       performance benchmarks, demonstrate the value added, and allow the City
                       Council to shape the entity’s activity.

 Financial Impact:     The current budget for the Convention & Visitors Bureau contract is $693,250. The
                       proposed contract would allocate $795,000 to the Convention & Visitors Bureau.
                       Though this would require an increase to the budget of $101,750, this proposed
                       allocation is less than last year’s transfer of $1,003,034.18. Though a budget
                       amendment is required, there is ample funding available based on year to date trend
                       to fund this contract with hotel occupancy tax.
 Related Vision Item   Financial Vision
 (if applicable):

 Other Information/    Staff recommends approval of the resolution
 Recommendation:

 Attachments:          Proposed Convention & Visitors Bureau contract and Resolution

 Presentation:         None
Publication:         None

Reviewed by          Michael Dane, Finance, 3/6/2013
Director:

Approved by Legal:   Pending
A RESOLUTION OF THE CITY OF SAN ANGELO AUTHORIZING THE
          CITY MANAGER TO NEGOTIATE AND EXECUTE A CONTRACT
          WITH THE CHAMBER OF COMMERCE CONVENTION & VISITORS
          BUREAU ALLOCATING HOTEL OCCUPANCY TAX FUNDS


  WHEREAS, the State of Texas allows local governments to levy a hotel occupancy tax to
enhance and promote tourism, to construct and maintain convention center facilities, to
encourage the arts, for historical restoration, and for expenses for sporting events; and

 WHEREAS, the City of San Angelo has levied such a tax at the rate of 7% for the operation of
convention facilities, the promotion of tourism, and the improvement of the arts; and

 WHEREAS, the Chamber of Commerce Convention & Visitors Bureau is the City’s agent to
promote tourism; and

  NOW THEREFORE BE IT RESOLVED BY THE CITY COUNCIL OF THE CITY OF
SAN ANGELO that its City Manager Daniel Valenzuela or his designee is hereby authorized to
negotiate and execute a contract with the Chamber of Commerce Convention & Visitors Bureau
allocating hotel occupancy tax funds:




APPROVED AND ADOPTED ON THE                      DAY OF                    , 2013.


                                                  THE CITY OF SAN ANGELO

                                                  _______________________________
                                                  Alvin New, Mayor
Attest:

______________________________
Alicia Ramirez, City Clerk

Approved As to Content:                           Approved As to Form:


______________________________                    ______________________________
Michael Dane, Assistant City Manager/CFO          Lysia H. Bowling, City Attorney
Exhibit "A"
    CONVENTION & VISITORS BUREAU 2013 BUDGET




INCOME:
 Hotel/Motel Tax Receipts              795,000.00
 Interest Income                           350.00
 Other Income/Visitor Center Sales       8,000.00
 Community Events                            0.00
 Travel Cookbooks Income                     0.00
TOTAL INCOME                          $803,350.00

OPERATING EXPENSES:
 Extra Help/Part Time                   17,500.00
 Administrative Salaries               197,887.00
 Social Security                        11,800.00
 Bookkeeping/Administration             17,000.00
 Medicare                                2,700.00
 Employee Retirement                    10,600.00
 Unemployment Comp                         600.00
 Group Insurance                        29,150.00
 Audit/Legal                             2,600.00
 Facility Agreement                      6,000.00
 Rent/Storage Bldg.                      1,000.00
 Equipment Expense                      18,000.00
 Insurance                               4,680.00
 Postage                                 2,400.00
 Telephone                               7,000.00
 Office Supplies                         6,500.00
 Automobile                             19,000.00
Miscellaneous Office Support             2,000.00
 Maintenance                            11,600.00
 Security                                2,000.00
 Utilities                              14,000.00
 Computers/Database Support              5,000.00
 Christmas Lights Expense                1,750.00
 Cornerstone Expense                       200.00
TOTAL OPERATING EXPENSES               390,967.00
MARKETING/ADVERTISING
 Professional Dues                 7,000.00
 Pro Training/Conferences          4,500.00
 Subscriptions                     5,000.00
 Advertising/publicity           185,000.00
 Volunteer Programs                2,400.00
 Public Relations                  5,000.00
 Convention Servicing/Supplies    27,000.00
 Promotional Items                11,500.00
 Visitors & Travel Marketing      29,575.00
 Convention & Travel Trade        48,000.00
 Postage/marketing                 3,500.00
 800 Number (telephone)              400.00
 Trade Shows                      23,000.00
 Visitor Center Merchandise        6,000.00
 Brochure Development/Printing    12,000.00
 Visitor Event Incentive          40,000.00
  CVB Website                      2,500.00
TOTAL MARKETING/ADV              412,375.00
TOTAL EXPENSES                   803,342.00
SURPLUS (DEFICIT)                      8.00
City of San Angelo
                                                                Office of the City Clerk




Memo
Date:     March 8, 2013
To:       Mayor and Councilmembers
From:     Alicia Ramirez, City Clerk
Subject: Agenda Item for March 20, 2012 Council Meeting

Contact: Alicia Ramirez, City Clerk, 657-4405

Caption: Consent Item

          Consideration of adopting a Resolution appointing election officials for the election to be held on
          May 11, 2013; and providing for an effective date
Summary:           The Resolution appointing election officials, judges and alternates for the
        General/Special Election is a routine action required by the Election Code. In the majority of the
        polling places, both the judges and alternates have previously served for City elections. In all
        polling places, either the judge or alternate has experience in serving for elections. In addition,
        State Law requires the presiding judge of an election precinct to make reasonable efforts to
        appoint a sufficient number of election clerks who are fluent in both English and Spanish to serve
        the needs of the Spanish-speaking voters of the precinct, if five percent (5%) or more of the
        inhabitants are persons of Spanish origin or descent. Most precincts will include two (2) election
        clerks. In accordance with the Election Services Contract with the Tom Green County Elections
        Administrator previously approved by the Council, the list of judges and alternates is provided by
        the Elections Administrator and is responsible for ensuring reasonable efforts to serve Spanish-
        speaking voters.


Financial Impact: The expense of the Election is shared on a pro rata basis with the Independent School
        Districts in San Angelo, Grape Creek, Wall, and Veribest. The estimated total cost for a city-wide
        election at $30,000.00 to $40,000.00 and we are anticipating a Runoff Election for June 15, 2013..
Other Information/Recommendation:         On the final two days of early voting by personal appearance, the
        Election Administrator’s office and branch location hours will be designated from 7:00 a.m. until 7:00
        p.m., beginning on May 6 and ending May 7, 2013.
        Staff recommends adoption of the Resolution. The Resolution designating the polling locations and
        Contract for joint election services was authorized in December 6, 2011.
Attachments: Resolution appointing Election Judges
RESOLUTION OF THE CITY COUNCIL OF THE CITY
                      OF SAN ANGELO, TEXAS, APPOINTING ELECTION
                      OFFICIALS FOR THE ELECTION TO BE HELD ON
                      MAY 11, 2013; AND PROVIDING FOR AN EFFECTIVE
                      DATE



    WHEREAS, the City of San Angelo adopted Ordinance #2013-02-??? calling for the
General Election on May 11, 2013; and

        WHEREAS, the City of San Angelo adopted Resolution #2013-03-??? designating
polling places within the election precincts within the City of San Angelo, Texas for elections
ordered; and

      WHEREAS, the Texas Election Code Section 32.005 authorizes the City Council to
appoint election judges for the designated polling places, within the election precincts within
the City of San Angelo, Texas for elections ordered by the City; and

       WHEREAS, by this Resolution, it is the intention of the City Council to appoint
election officials and judges to each early voting and election day polling place within the
designated election precinct; and

              WHEREAS, the Election Services Contract with the Tom Green County
Elections Administrator provides that the Administrator arrange for the use of the polling
places and furnish a list of judges and Alternateernates for each polling place;

              NOW THEREFORE, BE IT RESOLVED:

       SECTION 1: FINDINGS INCORPORATED. The findings set forth above are
incorporated into the body of this Resolution as if fully set forth herein.

       SECTION        2:   DESIGNATION            OF     ELECTION      JUDGES         AND
ALTERNATEERNATES FOR THE CITY’S ELECTION PRECINCTS FOR THE GENERAL
ELECTION TO HELD ON MAY 11, 2013: The election judges and Alternateernates
assigned to the designated election precincts within the City, as set forth in Exhibit "A",
attached hereto and incorporated herein for all purposes.

      SECTION 3: FURTHER DESIGNATION: The City further authorizes the City Clerk
to appoint substitute election judges in the event the individuals appointed herein are
unable to fulfill their duties.

       SECTION 4: NECESSARY ACTIONS: The Mayor and the City Clerk, in consultation
with the City Attorney, are hereby authorized and directed to take any and all actions
necessary to comply with the provisions of the Code, the Texas Election Code and any
other state or federal law in carrying out and designating polling placing, whether or not
expressly authorized herein and all actions previously taken are hereby ratified.
SECTION 5: EFFECTIVE DATE. This Resolution shall become effective
immediately upon its passage.

APPROVED AND ADOPTED on this 19th day of March, 2013.


                                          THE CITY OF SAN ANGELO, TEXAS


                                          ___________________________
                                          Alvin New, Mayor
ATTEST:


_______________________
Alicia Ramirez, City Clerk


Approved As to Content:                   Approved As to Form:



Alicia Ramirez, City Clerk                Lysia H. Bowling, City Attorney
Exhibit “A”

       DESIGNATION OF ELECTION JUDGES AND ALTERNATEERNATE JUDGES
  FOR DESIGNATED POLLING PLACES FOR MAY 11, 2013 GENERAL/SPECIAL ELECTION
       ELECTION DAY POLLING LOCATIONS OPEN FROM 7:00 A.M. TO 7:00 P.M.

Election Day                                                                                 Dia de las Elecciones
May 11, 2013, 7 am to 7 pm                                            El 11 de mayo, 2013, desde las 7 hasta las 7

Voters in precincts 114, 137, and 144 vote at Belmore Baptist Church-Fellowship Hall, 1214 S. Bell St.
Votantes en precintos 114, 137, y 144, votar en Belmore Baptist Church-Fellowship Hall, 1214 South Bell
ELECTION JUDGE: David McMahon, Judge and Nelda Englert, Alternate Judge

Voters in precincts 106, 107, 127, and 146 vote at Baptist Memorial Hospital, 902 N. Main, Chapel
Votantes en precintos 106, 107, 124, y 146 votan en la capilla de Baptist Memorial Hospital, 902 Main al Norte.
ELECTION JUDGE: Mark Gregory, Judge and Maggie Fernandez, Alternateernate Judge

Voters in precinct 108 vote at Harriett Baptist Church, 7626 N US Hwy 67
Votantes en precinto 108 votan en Harriett Baptist Church, 7626 N US Hwy 67
ELECTION JUDGE: Noemi Hoelscher, Judge and Cruz Carol, Alternateernate Judge

Voters in precincts 112 and 213 vote at St Ambrose Church, 8602 Loop 570, Wall, TX.
Votantes en precintos 112 y 213 votan en St. Ambrose Church, 8602 Loop 570, Wall, TX.
ELECTION JUDGE: Lloyd Moore, Judge and Charlene Dusek, Alternateernate Judge

Voters in precincts 228, and 230 vote at Southgate Church of Christ, 528 Country Club Rd.
Votantes dentro precintos 228, y 230 votan en Southgate Church of Christ, 528 Country Club Road.
ELECTION JUDGE: Sid Clemmer, Judge and Carol Cahill, Alternateernate Judge

Voters in precincts 215 and 241 vote at Texas Department of Transportation, 4502 Knickerbocker Rd., Bldg. E
Votantes en precintos 215 y 241 votan en el Departamento de Transporte de Texas, 4502 Knickerbocker Road,
Edificio "E".
ELECTION JUDGE: Charlie Hafer, Judge and Sue Bramhall, Alternate Judge

Voters in precincts 304, 306, and 348 vote at Lakeview Bible Church, 4825 Grape Creek Rd.
Votantes en precintos 304, 306, y 348 votan en Lakeview Bible Church, 4825 Grape Creek Road
ELECTION JUDGE: Gloria Mata, Judge and Aurora Rodriguez             , Alternate Judge

Voters in precincts 305, 308, 319, 327, and 351 vote at Ángelo Bible Church, 3506 Sherwood Way.
Votantes en precintos 305, 308, 319, 327, y 351 votan en Ángelo Bible Church, 3506 Sherwood Way.
ELECTION JUDGE: Sandi Smith, Judge and Charlene Corfield             , Alternate Judge

Voters in precinct 358 vote at Grape Creek ISD Admin. Building, 8207 US Hwy. 87 N.
Votantes en precinto 358 votan en el DEI de Grape Creek en el edificio de Administración, 8207 US HWY 87,
Norte.
ELECTION JUDGE: Betty Lacy, Judge and Gena Franks, Alternate Judge

Voters in precincts 402, 420, 421, and 424 vote at Plaza del Sol Apartments, 4359 Oak Grove Blvd.
Votantes en precintos 402, 420, 421, y 424 votan en Plaza del Sol Apartments, 4359 Oak Grove Boulevard
ELECTION JUDGE: John Graham, Judge and Mitch Krasny, Alternate Judge

Voters in precincts 401, 434, 435, and 436 vote at MHMR Services, 1501 W. Beauregard Ave.
Votantes en precintos 401, 434. 435 y 436 votan en Servicios de MHMR 1501 Beauregard, Oeste.
ELECTION JUDGE: Ivey Mossell, Judge and Jim Jones, Alternate Judge

Voters in precinct 423 vote at Knickerbocker Community Center, 14608 FM 2335, Knickerbocker, TX.
Votantes en precinto 423 votan en Knickerbocker Community Center, 14608 FM 2335, Knickerbocker, TX.
ELECTION JUDGE: Mary Page, Judge and Silvia Montalvo, Alternate Judge
Early Voting by personal appearance and mail, 113 W. Beauregard
Vona McKerley, Early Voting Clerk
Alicia Ramirez, Deputy Early Voting Clerk
Rudy Olivas, Deputy Early Voting Clerk
Vanessa Simon, Deputy Early Voting Clerk

Early Voting Ballot Board, 113 W. Beauregard
Katherine Osborne, Chairperson
CLERKS: Lenda Campbell, Stella Hodges, Connie DelaRosa, Anita Betty,
Linda Martin, and Charlene Schmidt

Central Counting Station and Manual Count, 113 W. Beauregard
Alicia Ramirez, Presiding Judge
Vona McKerley, Manager
Rudy Olivas, Technical Supervisor
CLERKS: John Stone, Barbara Stone, Kevin Burke, Gwenn Neill, Mike
Granados, and Stephen Radloff
TECHNICAL CLERKS: John Stone and Barbara Stone
Tom Green County Sherriff, Security
DOCK: Bob Boyles and Danny List

Precinct Records and Voted Ballots Storage, 113 W. Beauregard
Vona McKerley, Agent to General Custodian
Alicia Ramirez, General Custodian of Special Election Records
City of San Angelo



Memo
 Date:

 To:                   Mayor and Councilmembers

 From:                 Carl White, Parks & Recreation Director

 Subject:              Agenda Item for March 19, 2013 Council Meeting

 Contact:              Carl White, 325-234-1724

 Caption:              Consent Item

                       Consideration of approving an Interlocal Cooperative Agreement with the San
                       Angelo Independent School District for the construction of improvements at the
                       Bradford Elementary School Park and authorizing the Mayor or City Manager to
                       execute the agreement.


 Summary:              This agreement will authorize the construction of park amenities on the Bradford
                                                   th
                       School property (vicinity 24 and Poe Streets in Northeast San Angelo) and
                       document the relationship between the City and SAISD regarding this project and
                       the availability of the improvements to the public as well as maintenance
                       responsibilities.

 History:              There is no history on this item. Funds are available for park improvements and
                       Council has directed staff to cooperate with SAISD to provide park amenities,
                       where possible, on school property such that they can be used by the public and
                       maintained by SAISD.

 Financial Impact:     The cost of the project is $175,000.00 from half-cent sales tax funds dedicated to
                       Park Improvements.

 Related Vision Item   Neighborhood Vision – provide adequate amenities for all neighborhoods.
 (if applicable):

 Other Information/    Staff recommends approval.
 Recommendation:

 Attachments:          Proposed agreement and Resolution

 Presentation:         N/A

 Publication:          N/A

 Reviewed by           Rick Weise, Assistant City Manager
 Director:

 Approved by Legal:    Yes




                                                                                           Adopted: 5/30/03
                                                                                           Revised: 6/21/10
A RESOLUTION OF THE CITY OF SAN ANGELO
       AUTHORIZING THE CITY MANAGER OR HIS DESIGNEE TO
       EXECUTE AN INTERLOCAL COOPERATION AGREEMENT
       WITH THE SAN ANGELO INDEPENDENT SCHOOL DISTRICT
       (SAISD) PROVIDING FOR CONSTRUCTION BY THE CITY OF
       RECREATIONAL AND PARK IMPROVEMENTS, NOT TO
       EXCEED $175,000.00, FOR PUBLIC USE ON PROPERTY OWNED
       BY THE SAISD GENERALLY KNOWN AS BRADFORD
       ELEMENTARY SCHOOL, TO BE MAINTAINED BY THE SAISD

        WHEREAS, the City Council determines that it is in the interest of the citizens of
the City of San Angelo for the City to cooperate with the San Angelo Independent School
District (SAISD) for the joint use of resources to mutually provide park amenities open to
the public ; and,

       WHEREAS, the Bradford Elementary School is located on N. Poe Street, between
E. 22nd Street and E. 24th Street, and includes vacant land suitable for recreational and
park amenities for public use; and,

        WHEREAS, the SAISD is agreeable to maintain park facilities proposed to be
constructed on school district property by the City for public use under terms of an
interlocal agreement, for a term of twenty-five years with option to renew for an
additional twenty-five years, which use would be beneficial for the citizens of the City of
San Angelo;

      NOW THEREFORE BE IT RESOLVED BY THE CITY COUNCIL OF THE
CITY OF SAN ANGELO, TEXAS THAT:

       The City Manager or his designee is hereby authorized to execute an Interlocal
Cooperation Agreement on behalf of the City of San Angelo with the San Angelo
Independent School District effective for a term of twenty-five years with an option to
renew for an additional twenty-five years, pursuant to which the City of San Angelo shall
construct recreational and park improvements on certain property owned by the SAISD
known as Bradford Elementary School, in a sum not to exceed One Hundred Seventy-
Five Thousand and No/100 Dollars ($175,000.00), for public use by the Citizens of San
Angelo..

       PASSED and APPROVED THIS                      DAY OF                        , 2013.

                                                     CITY OF SAN ANGELO, TEXAS


ATTEST:
                                                     Alvin New, Mayor


Alicia Ramirez, City Clerk
APPROVED AS TO CONTENT                    APPROVED AS TO FORM



Carl White, Parks & Recreation Director   Lysia H. Bowling, City Attorney
City of San Angelo



Memo
 Date:

 To:                   Mayor and Councilmembers

 From:                 Lysia H. Bowling, City Attorney

 Subject:              Agenda Item for March 19, 2013 Council Meeting

 Contact:              Assistant City Manager Rick Weise, 657-4241

 Caption:              Consent Item

                       Consideration of A Resolution by the City Council of the City of San Angelo,
                       Texas, authorizing the City Manager to execute a First Amended Lease
                       Agreement amending the original lease agreement between City of San Angelo
                       and Howard County Junior College District, including extending the original lease
                       term and providing for additional improvements to be made on leased premises.

 Summary/History:      Since January of 2001, Howard County Junior College District and the City of San
                       Angelo have operated a highly successful vocational training program commonly
                       referred to as the West Texas Training Center (WTTC) located at the Howard
                       College San Angelo Campus facility.
                       Due to its success, the Howard College San Angelo Campus facility has reached
                       maximum enrollment and additional facilities are needed to better serve the
                       citizens of San Angelo and surrounding areas. The identified needs are both
                       vocational and academic programs and the expanded services will begin
                       immediately upon construction. Preexisting educational services will continue
                       without interruption.
                       For this reason, Howard County Junior College District requests the City of San
                       Angelo approve the attached amendment to the original lease between the parties
                       which provides for a fifty five (55) year lease term from the inception of the original
                       lease term of September 1, 2008 and for one (1) renewal term of twenty five (25)
                       years. This amended lease term will allow Howard County Junior College District
                       to construct and maintain additional vocational and educational facilities for the
                       benefit of the Howard College San Angelo campus and the San Angelo
                       community as a whole. The improvements will be financed by revenue bonds to
                       be repaid by student tuition and other fees. All costs of construction and
                       maintenance will be assumed by Howard County Junior College District for the
                       period of the lease. After the term of the lease and any renewal term expire,
                       ownership of the facilities will transfer to City of San Angelo. The proposed
                       facilities and improvements have been designed by the architectural firm of
                       Parkhill Smith and Cooper Inc. employing the construction management at risk
                       procurement and delivery method.

 Financial Impact:     Lessee bears cost for performance and obligations.

 Related Vision Item   None.
 (if applicable):

 Other Information/    Staff recommends the City Manager to execute the lease agreement.
 Recommendation:
Attachments:         Resolution
                     Lease Agreement
Presentation:        None.

Publication:         None.

Reviewed by          None.
Director:

Approved by Legal:   City Attorney Lysia H. Bowling, 3/12/13
A RESOLUTION BY THE CITY COUNCIL OF THE CITY OF SAN ANGELO,
          TEXAS, AUTHORIZING THE CITY MANAGER TO EXECUTE A FIRST
          AMENDED LEASE AGREEMENT AMENDING THE ORIGINAL LEASE
          AGREEMENT BETWEEN CITY OF SAN ANGELO AND HOWARD COUNTY
          JUNIOR COLLEGE DISTRICT, INCLUDING EXTENDING THE ORIGINAL
          LEASE TERM AND PROVIDING FOR ADDITIONAL IMPROVEMENTS TO
          BE MADE ON LEASED PREMISES.

         WHEREAS, City and Howard County Junior College District entered into Lease Agreement ("Lease
Agreement") on August 19, 2008 for lease of 20.087 acres of land, to include the West Texas Training
Center located at 3501 N. US HWY 67, San Angelo, Tom Green County, Texas, for the operation and
maintenance of a technical training center for public education purposes;


         WHEREAS, City and Lessee now desire to amend Lease Agreement and enter into First
Amended Lease Agreement to change certain provisions of Lease Agreement, including extending the
original lease term and providing for additional improvements to be made on leased premises;

         WHEREAS, all of the terms and conditions of the original Lease Agreement shall be and remain
in full force and effect unless amended or changed by the First Amended Lease Agreement.

  NOW, THEREFORE, BE IT RESOLVED BY THE CITY COUNCIL OF SAN
ANGELO, TEXAS THAT:

         The City Manager is hereby authorized to execute the First Amended Lease Agreement on behalf of the
City of San Angelo and Howard County Junior College District amending the original Lease Agreement between
the parties dated August 19, 2008.

        PASSED and APPROVED THIS _ _ _ _ _ DAY OF _ _ _ _ _ _ _ _ _.~:, 2013.

ATTEST:                                                          CITY OF SAN ANGELO, TEXAS



Alicia Ramirez, City Clerk                                       Alvin New, Mayor


APPROVED AS TO CONTENT                                           APPROVED AS TO FORM



Rick Weise, Assistant City Manager                               Lysia H. Bowling, City Attorney
City of San Angelo



Memo
 Date:                 December 14, 2012

 To:                   Mayor and Council members

 From:                 City Attorney Lysia H. Bowling

 Subject:              Agenda Item for March 19, 2013

 Contact:              Office of the City Attorney, 657-4405

 Caption:              Consent Agenda

                       Consideration of the adoption of a resolution endorsing certain legislative action in
                                                      rd
                       the Regular Session of the 83 Legislature to enhance the competitive electric
                       market and system reliability and to protect the traditional role of cities in the
                       regulatory process..

 Summary:              The City of San Angelo is a member of the Texas Coalition for Affordable Power
                       (TCAP). More than 160 cities and political subdivisions make up TCAP, which is
                       one of the largest organizations of energy consumers in the State of Texas.
                       TCAP, as part of its mission, monitors federal, state and local initiatives that may
                       affect the price and availability of energy, and proactively promotes affordable
                       energy policies which can impact municipal budgets and the ability to fund
                       essential services

 History:              Historically, cities have formed coalitions to represent their collective interests
                       before utility rate regulatory agencies and courts. By forming coalitions, cities
                       have been able to present a strong voice for consumers for over thirty years. This
                       has served to reduce costs that cities and their residents pay for electric and gas
                       utility services. In numerous instances, without the participation of coalitions of
                       cities, rate increases would have gone into effect without any party scrutinizing the
                       utility’s application for rate increase. Participation in the coalition and adoption of
                       the resolution endorsing legislative action to enhance the competitive electric
                       market will demonstrate the mutual concern of the City of San Angelo with other
                       city members of TCAP for reliability, quality of service, and price of electric utilities.

 Financial Impact:     The City of San Angelo is a member of TCAP. Support of the efforts of the coalition
                       may result in maintaining favorable legislation accommodating the participation of
                       Texas cities in the process for consideration of future utility applications for rate
                       increases.


 Related Vision Item   N/A
 (if applicable):

 Other Information/    N/A
 Recommendation:       Staff recommends adoption of the resolution.
Attachments:         The proposed resolution is attached.

Presentation:        N/A

Publication:         N/A

Reviewed by          City Attorney Lysia H. Bowling
Director:

Approved by Legal:   3/12/13
RESOLUTION NO. ____________

        A RESOLUTION OF THE CITY OF SAN ANGELO, TEXAS, ENDORSING
        CERTAIN LEGISLATIVE ACTION IN THE REGULAR SESSION OF THE 83RD
        TEXAS LEGISLATURE TO ENHANCE THE COMPETITIVE ELECTRIC
        MARKET AND SYSTEM RELIABILITY AND TO PROTECT THE
        TRADITIONAL ROLE OF CITIES IN THE REGULATORY PROCESS

        WHEREAS, the City of San Angelo, Texas is a member of Texas Coalition for Affordable
Power (“TCAP”), a non-profit political subdivision created by cities throughout Texas to secure
affordable electric energy for its members in the deregulated electric market; and

         WHEREAS, TCAP pools the energy needs of its more than 160 political subdivision
members to negotiate favorable prices and contract terms for the purchase of approximately 1.3
billion kilowatt hours annually; and

         WHEREAS, affordable and reliable power means economic development for the City and a
better standard of living for our citizens; and

       WHEREAS, the City supports legislative initiatives that promote a healthy electric market
where competition can flourish and electric customers can save money; and

         WHEREAS, the City endorses the legislative agenda of TCAP and opposes legislative
initiatives that would fundamentally alter the ERCOT energy market or the traditional role of cities in
the regulatory process.

THEREFORE BE IT RESOLVED BY THE CITY COUNCIL OF THE CITY OF SAN ANGELO,
TEXAS, THAT:

        1.       The Regular Session of the 83rd Texas Legislature be encouraged to preserve the
traditional role of cities in the regulatory process, including original jurisdiction and reimbursement
of reasonable rate case expenses.

        2.      The Legislature make no statutory changes that would lead to a reduction in revenues
paid by public utilities as franchise fees for rental of public rights-of-way.

       3.       The Legislature facilitate and encourage public/private partnerships between cities
and electric generation developers in creating small-scale (not to exceed 50 MW) power plants
capable of rapidly meeting peak power needs.

        4.        The Legislature recognize that “smart meters” are under-utilized with regard to
encouraging and incentivizing reductions in energy consumption during peak periods and that the
regulated transmission and distribution utilities which own the “smart meters” be allowed to re-enter
the retail electric market to the extent they offer regulated rate plans designed to incent reductions in
peak energy consumption.

        5.      The Legislature preclude foreign ownership of electric distribution assets and make it
clear that, notwithstanding any other provision in law, home rule cities, individually or collectively,
shall be permitted to own and operate electric distribution assets so long as said cities are not
involved in retail sales of electricity.
6.   The Legislature resist any efforts to transform the energy-only ERCOT market into a
capacity market which would increase the price of electricity by artificially inflating generator
profits.

        7.    The Legislature enhance protections against anti-competitive activities in the
wholesale market and require the Public Utility Commission (“PUC”) to reform its rules related to
Voluntary Mitigation Plans and allow cities and other interested parties to participate in review of
such plans.

        8.      The Legislature mandate that the PUC and market participants provide consumer
education regarding the relationship between time of use, cost of energy production and transmission,
and the price paid by consumers.

       9.      The Legislature require the PUC to establish certain uniform products that must be
offered by all retail electric providers (“REPs”) and to establish new rules governing the
powertochoose.org and powertosavetexas.org websites that will better inform retail customers of
complaints against REPs and better educate customers regarding the economic and market benefits of
reducing demand during peak periods.

       10.     This resolution shall take effect immediately upon its passage.

        11.     A copy of this resolution shall be sent to the elected lawmakers representing the
City’s interests in the Texas House and Senate and to Randolph C. Moravec, Executive Director of
TCAP, 15455 Dallas Parkway, Addison, Texas 75001.

PRESENTED AND PASSED on this ______ day of ____________, 2013 by a vote of ____ ayes
and ____ nays at a regular meeting of the City Council of San Angelo, Texas.

                                                      CITY OF SAN ANGELO, TEXAS


                                                      ____________________________________
                                                      Alvin New, Mayor
ATTEST:

______________________________
Alicia Ramirez, City Clerk



APPROVED AS TO FORM:

_____________________________
Lysia H. Bowling, City Attorney
The Texas Coalition for Affordable Power
Recommendations for a More
Competitive Electric Market
Because high energy costs can impact municipal
budgets and the ability to fund essential services, TCAP,
as part of its mission, actively promotes affordable energy
policies. Affordable power in a fully competitive market
also means economic development for our communities
and a better life for our citizens. TCAP members are
committed to making electric deregulation work.
Maintaining an even playing field for cities
Cities have a long history representing consumers in “regulated” rate cases. But big electric companies
want to deter cities from exercising any opposition so they can more easily raise rates. TCAP will work
hard at the Texas Legislature to protect city authority.


Fair Price for Electricity Produced at Home
Are rooftop solar panels installed in your community? TCAP supports legislation that will ensure that
residential and small commercial customers that produce excess power at their homes or businesses
receive a fair price for power they provide the grid.


Reduce Confusion in the Retail Electricity Market
Texans should have access to standard-language electricity deals. These deals will enhance competition
by facilitating apples-to-apples price shopping.




                            Contact:	 Randolph (Randy) C. Moravec, PhD, Executive Director
                            	         rcmoravec@tcaptx.com • (972) 742-7015
Avoid Changes in the Market that Will Increase Costs
Some of the state’s generation companies want to receive big payments for power plants, regardless
of whether any power is actually generated — and are lobbying hard for changes to make it happen.
TCAP will oppose proposals at the Legislature that create unnecessary price supports for generators that
circumvent the competitive market and increase electricity costs to consumers.


Updating Market Protections in the Lone Star State
Where appropriate, anti-competitive behavior prohibited in other states should also be prohibited in
Texas. Texas regulators should have the same power to assess penalties as regulators elsewhere. Legal
loopholes that exempt some generators from prosecution should be closed.


Promote Public-Private Electric Generation Partnerships
TCAP wants cities to have the right to pursue small-scale generation projects, just so long as the projects
enhance economic development and produce affordable power. Such public-private partnerships also
are a cost-effective way to help address the state’s long-term generation and reliability challenges.


No foreign ownership of electric distribution facilities
Texans depend on a complex network of wires to bring power to their homes. With so much at stake,
accountability is important. That’s why there should be no foreign ownership of local electric distribution
networks. When the system fails or bills go up, Texans shouldn’t have to call Madrid to complain.
Home rule cities — individually or collectively —also should be permitted to own and operate electric
distribution networks.


Hold Big Generation Companies Accountable for Market Abuses
Under Texas law, big generation companies can obtain advanced regulatory protections against future
prosecution for anti-competitive behavior.  TCAP supports reforms to ensure that these advanced
protections are fair, and don’t become “Get Out Of Jail Free” cards for market abusers.




                             Contact:	 Randolph (Randy) C. Moravec, PhD, Executive Director
                             	         rcmoravec@tcaptx.com • (972) 742-7015
National Nutrition Month® 2013
                                Proclamation


(State or City) OF

EXECUTIVE OFFICE
PROCLAMATION

WHEREAS food is the substance by which life is sustained; and

WHEREAS the type, quality, and amount of food that individuals consume each day plays a
vital role in their overall health and physical fitness; and

WHEREAS there is a need for continuing nutrition education and a wide-scale effort to
enhance healthy eating practices;

NOW, THEREFORE I, _________________(Name), __________________(Title)
_________________________________________________________, (City/State)

DO HEREBY PROCLAIM the month of March NATIONAL NUTRITION MONTH® in
(City/State)_______________, and I encourage all citizens to join the campaign
and become concerned about their nutrition and the nutrition of others in the hope of
achieving optimum health for both today and tomorrow.

IN WITNESS WHEREOF I have hereto set my hand and caused the Great Seal of the
_____________________________________________________________________
to be affixed.

Done at the ____________on this the ________day of ________________________,
Two thousand and thirteen.

By:
Title:
Attest:
Title:
PROCLAMATION

WHEREAS,          For over 150 years, Lutheran Schools have provided communities,
                  states, and the country with Christian leaders in business, politics,
                  military, ministry, education, and other fields; and

WHEREAS,          National Lutheran Schools Month is also an occasion for schools
                  to interest citizens in volunteering their time and talents to local
                  Lutheran Schools; and

WHEREAS,          Lutheran Schools have provided a quality Christian education
                  program that has inspired students to serve others through civic
                  engagement and provided students with opportunities to serve
                  while equipping them with the tools they need to fulfill their future
                  roles as good citizens, productive employees, and compassionate
                  leaders; and

WHEREAS,          Locally we are joining with Trinity Lutheran School as they
                  celebrate almost 63 years of service to our Community;

NOW, THEREFORE, I, Alvin New, Mayor of the City of San Angelo, Texas, on behalf
of the City Council, do hereby proclaim March, 2013 as

               “NATIONAL LUTHERAN SCHOOLS MONTH”

and encourage everyone to pay tribute to the dedication and service of Trinity
Lutheran School for their many years of commitment to the community of San Angelo.


                                      IN WITNESS WHEREOF, I have hereunto
                                      set my hand and caused the Seal of the City to
                                      be affixed this 19th day of March, 2013.

                                      THE CITY OF SAN ANGELO



                                      ALVIN NEW, MAYOR
City of San Angelo



Memo
 Meeting Date:   March 5, 2013

 To:             City Council members

 From:           Jeff Hintz, Interim Senior Planner

 Subject:        PD 13-01 West Company/Granger Macdonald, A request for
                 approval of a zone change from a combination of Single-Family
                 Residential (RS-1) and General Commercial (CG) to Planned
                 Development (PD) to specifically allow for multi-family living and a
                 lease house /amenity center on the following property:

 Location:       an unaddressed 9.8 acre property, located directly west of the
                 intersection of Northwest Drive and Green Hill Road. The property
                 specifically occupies a proposed Second Replat of Arden Acres,
                 Section Three, Block 3, Tract 3 in western San Angelo.

 Purpose:        Approval of this request will change the zoning designation on the
                 property and allow the construction of multi-family dwelling units.

 Contacts:       Andrew Mellen, West Company                    432-682-0588
                 Jeff Hintz, Interim Senior Planner             325-657-4210

 Caption:        First Public Hearing and consideration of introduction of an Ordinance
                 amending Chapter 12, Exhibit “A” (Zoning Ordinance) of the Code of
                 Ordinances, City of San Angelo

                 PD 13-01: West Company/Granger Macdonald

                 AN ORDINANCE AMENDING CHAPTER 12, EXHIBIT “A” OF THE
                 CODE OF ORDINANCES, CITY OF SAN ANGELO, TEXAS, WHICH
                 SAID EXHIBIT “A” OF CHAPTER 12 ADOPTS ZONING
                 REGULATIONS, USE DISTRICTS AND A ZONING MAP, IN
                 ACCORDANCE WITH A COMPREHENSIVE PLAN, BY CHANGING
                 THE ZONING AND CLASSIFICATION OF THE FOLLOWING
                 PROPERTY, TO WIT: an unaddressed 9.8 acre property out of
                 approximately 75 acres currently described as Section 3, Arden
                 Acres, which is located adjacent to and directly west of the
intersection of Northwest Drive and Green Hill Road. The
                         property specifically occupies a proposed Second Replat of
                         Arden Acres, Section Three, Block 3, Tract 3 in western San
                         Angelo, changing the zoning classification from a combination of
                         Single-Family Residential (RS-1) and General Commercial (CG) to
                         Planned Development (PD) District; PROVIDING FOR
                         SEVERABILITY AND PROVIDING A PENALTY




     Summary: The City Council may:

     (1) Approve the proposed zone change;

     (2) Remand the application back to Planning Commission for further discussion, in
         which case another public hearing will need to be scheduled; or

     (3) Approve subject to modification OR acceptance of proposed conditions; or

     (4) Deny the proposed zone change

     Recommendation: Planning staff recommends approving the proposed zone
     change, subject to the Conditions listed in Conditions 5-14 of the attached draft
     ordinance.

     Planning Commission recommended approval of this request by a 5-0 vote on February
     18, 2013.

History and Background:

     General Information

           Existing Zoning:          Single-Family Residential (RS-1) and General
                                     Commercial (CG)

           Existing Land Use:        undeveloped, vacant property

           Surrounding Zoning/Land Use:

            North:                 CH           Undeveloped open property
            West:               CG & RS-1       Undeveloped property & ball fields
            South:                RS-1          Red Arroyo, vacant land
            East:                  CG           Vacant property & retail establishments



                                            2
Thoroughfares/Streets:   Northwest Drive is defined as a collector street in
                         this area and is designed to collect local street
                         traffic carrying it to arterial streets at a moderate
                         speed.

                         Green Hill Road is defined as a local street and is
                         designed to carries light neighborhood traffic at
                         lower speeds and generally connects to collector
                         streets.

Zoning History:          No previous zoning history on this property. The
                         general area was annexed into the City Limits in
                         November of 1997

Development Standards:   All required off-street parking and the
                         connection(s) to a public right-of-way are required
                         to be paved.

                         Construction of more than one principal building
                         for multi-family use on a lot requires an Urban
                         Design Review to be completed and approved
                         before construction may take place.

                         Other applicable development standards are
                         included in the draft ordinance at the end of this
                         report.

Vision Plan Map:         Commercial

Comp Plan Excerpts:      Goal Three from the Neighborhood Section of the
                         2009 Comprehensive Plan states that (the city
                         should), "Improve relationship between adjacent
                         commercial and residential land use adjacencies."
                         One action step of this goal states that (the city
                         should), " Require a buffer separating commercial,
                         industrial, or agricultural zoned lands from
                         neighborhoods. This buffer may be an intermediate
                         “mixed-use” zone, a landscape buffer, or public right-
                         of-way.

                         Goal One from the Commercial Section of the
                         2009 Comprehensive Plan states that (the city
                         should), "Establish transition areas between
                         commercial areas and nearby neighborhoods."




                                3
Special Information

            Traffic Concerns:          Changing the zoning from residential and
                                       commercial to Planned Development with the
                                       allowance for a multi-family living facility will
                                       certainly generate additional traffic than if the
                                       property remained as is. Northwest Drive has
                                       immediate access to the Houston Harte
                                       Expressway and Arden Road; both of these
                                       roadways are designed to carry traffic at higher
                                       speeds with limited access.

            Parking Requirements:      See Section 11 of the attached draft ordinance.

            Parking Provided:          No off-street parking is currently provided.

            Density:                   No development is currently open space is
                                       currently present in this area

            Notification Required:     Yes

            Notifications Sent:        1

            Responses in Favor:        0

            Responses in Opposition:   0

Analysis:

     In order to approve this zone change request, the City Council members are first required
     to consider the following criteria:

     1. Compatible with Plans and Policies. Whether the proposed amendment is compatible
        with the Comprehensive Plan and any other land use policies adopted by the Planning
        Commission or City Council.

     2. Consistent with Zoning Ordinance. Whether and the extent to which the proposed
        amendment would conflict with any portion of this Zoning Ordinance.

     3. Compatible with Surrounding Area. Whether and the extent to which the proposed
        amendment is compatible with existing and proposed uses surrounding the subject land
        and is the appropriate zoning district for the land.

     4. Changed Conditions. Whether and the extent to which there are changed conditions
        that require an amendment.


                                              4
5. Effect on Natural Environment. Whether and the extent to which the proposed
   amendment would result in significant adverse impacts on the natural environment,
   including but not limited to water and air quality, noise, storm water management,
   wildlife, vegetation, wetlands and the practical functioning of the natural environment.

6. Community Need. Whether and the extent to which the proposed amendment
   addresses a demonstrated community need.

7. Development Patterns. Whether and the extent to which the proposed amendment
   would result in a logical and orderly pattern of urban development in the community.

The staff recommendation is based upon the statements listed below.

Staff finds this request to be consistent and compatible with the plans and policies
adopted by the community for this particular area. When examining the comprehensive
Plan as a whole, the intent is to transition from more intense zoning classifications
slowly into neighborhoods. In examining this particular request, staff believes a multi-
family complex will serve as this transition in this area. The areas along Houston Harte
are intended for higher trafficked and more intense commercial uses. In examining this
particular area, there is neighborhood development called for to the west. Staff believes
this request is consistent with the goals of the community's comprehensive plan and this
particular development will serve as a gentle transition into the neighborhood areas.
Given the current zoning of the property, a much higher intensity usage would be
allowed and also be a much less suitable into the neighborhood areas identified within
the vision plan.

It is the belief of staff that a Planned Development for this particular property will
generally be consistent with the intent of the Zoning Ordinance. The introduction of a
multi-family dwelling unit development in this area is compatible with the surrounding
area. The street network's capability in this area and isolated location make this an area
where staff believes a multi-family dwelling will be successful. This higher intensity,
residential development will not generate the traffic that a retail establishment has the
potential to, but at the same time the number of visitors to and from the site will be more
like a traditional neighborhood, but a more compact scale. Staff is confident this
Planned Development will serve as a buffer from the higher intensity commercial uses
that may occur along northwest to the envisioned neighborhood development areas to
the west. The Zoning Ordinance and Comprehensive Plan seek to create these
transition areas between land uses and in turn help to create orderly predictable
development in this area. This proposal will not alter development patterns in this area,
in fact this development may serve as a catalyst for infill development in this area,
something that is also encouraged within the Comprehensive Plan.




                                         5
The intent of the Comprehensive Plan and Zoning Ordinance is to create transitional
zones between commercial zoning and residential zoning within the community. Multi-
family developments tend to be a bit of a hybrid regarding the actual land use. These
types of developments are residential in nature and use, but depending upon the size,
can generate traffic at a higher rate than a lower density neighborhood can. While
apartments can be part of a successful neighborhood (one which offers a wide variety of
housing options), staff believes this Planned Development and the intensity it is seeking
to create on the property will be consistent with the goals and intent of the
Comprehensive Plan for this area. As such, no vision Comprehensive Plan amendment
will be required to approve this request.

This proposal will certainly have an effect on the natural environment in this area as the
land is currently undeveloped and in its natural state. The proximity to the Red Arroyo
and the sheer size of this development will require some storm water mitigation through
the platting process. The applicant is aware of the effect this development will have on
the area and it is the understanding of staff that there are plans being worked on to
account for this effect on the environment in this area. The development is located
nearby other businesses at this time, but given the size of the parcels in this area will be
somewhat isolated when it is completed. Given the development patterns of the area
and isolation from other properties, staff believes that neighboring properties will see
little to no detrimental effects from this proposed development.

The community is certainly growing and a need for more housing and housing choices
certainly comes along with the anticipated growth. Staff believes this area has a great
potential for infill development or both commercial and residential opportunities. A multi-
family development will serve as a transition between zoning districts and will help to
ensure consistent development patterns in this area. This region of town has some
commercial uses and lower density residential zoning and development in place
currently. This mix of housing choices in the region will help to solidify the development
patterns and be highly consistent with the goals of the Comprehensive Plan in staff's
opinion. The commercial zoning present along Houston Harte and Arden Road will need
a population base to develop successfully in staff's opinion. Allowing for a multi-family
development in this area would add population that can utilize the existing businesses,
and also has the potential to create demand for new businesses. This relationship
between commercial and residential properties in this area can be promoted and
protected further by introducing this Planned Development District to serve as a
transition and a compliment to current and future development for the area.

The draft ordinance accompanying this report is designed in a manner that ensures that
the plans and renderings submitted will occur on this property. Due to the nature of the
Planned Development, any deviations in design or layout of the site would require
rehearing. Staff believes a project of this size and scale in this area, the design and site
layout are essential. The site plan allows for circulation inside and outside the site in a
logical, orderly pattern; in addition the renderings of the buildings and proposed


                                          6
materials are aesthetically pleasing and will be a compliment to the area in staff's
opinion.

Proposed Conditions

Conditions of the Planned Development are listed in the draft ordinance at the end of
this report in sections 5 through 14.

Attachments:              excerpt from zoning map, showing the general location within
                          the City of San Angelo;

                          excerpt from zoning map, highlighting subject property;

                          aerial photo, highlighting subject property;

                          excerpt from the comprehensive plan vision map highlighting
                          the subject property;

                          draft minute excerpt from the February 18, 2013 Planning
                          Commission meeting;

                          draft ordinance with site plan; and

                          large scale site plan.

Presentation:             AJ Fawver, AICP Interim Director of Development Services




                                       7
9
10
11
B. PD 13-01: West Company/ Granger Macdonald

  A request for approval of a zone change from a combination of Single-Family
  Residential (RS-1) and General Commercial (CG) to Planned Development (PD)
  to specifically allow for multi-family living and a lease house /amenity center on
  the following property:

  an unaddressed 9.8 acre property out of approximately 75 acres currently
  described as Section 3, Arden Acres, which is located adjacent to and directly
  west of the intersection of Northwest Drive and Green Hill Road. The property
  specifically occupies a proposed Second Replat of Arden Acres, Section Three,
  Block 3, Tract 3 in western San Angelo.

Jeff Hintz, Planner, came forward to present this request, consistent with the staff
recommendation of approval. He gave some background about the property,
highlighting the classification for the property in the Vision Plan Map
("Commercial"). The area is surrounded by commercial properties, and there is
some undeveloped property, as well as ball fields to the west. The area was
annexed in 1997. Mr. Hintz reviewed the criteria required to be considered as part
of zone change requests. The request is consistent with the City's plans, policies
and ordinances and is compatible with the surrounding area. An Urban Design
Review was required due to the size of the planned construction, and this UDR has
been approved by the Interim Director/Planning Manager. This less intensive
zoning will provide a better transition than the stark commercial to low-intensity
residential change that exists today. The platting process will handle storm water
requirements and other development-related standards. The Comprehensive Plan
speaks to improving the relationship between adjacent commercial and residential
land use adjacencies, which staff finds this plan actually does. This property also
provides flexibility of design, meets the traffic capabilities of the area, and provides
infill development. The PD is the most predictable type of zoning district, as a
custom zoning ordinance is crafted for the use. Mr. Hintz addressed the community
need - providing a diverse mix of housing, and that it is far less intensive than the
current zoning allows.

Mr. Hintz showed the planned subdivision plat and the UDR that was approved by
the staff members. The concept plan for the ordinance, illustrating the layout of
residential buildings on this tract. The proposed PD ordinance only allows for multi-
family living and an amenity center. The development is in accordance with the
standards of the Zoning Ordinance. Signage will match the materials of the
dwelling units, and pole signs are strictly prohibited. Landscaping will be providing,
and a wrought iron fence with brick columns will surround the exterior of the site
along the boundaries. Sidewalks are also proposed, so it certainly makes this area
a walkable one. Mr. Hintz offered to answer any other questions or get into the
details of the ordinance more, but the Commission had no additional questions.

Justin McDonald, representing the applicant, came forward to answer any questions
the Commission had, and complimented the staff on their presentation. Mr. Wynne
asked for the number of units, and Mr. McDonald stated that there are 176 units
planned. Jennifer Boggs asked about the mix of units. Mr. McDonald mentioned
that the units will be a mix of 1b/1b, 2b/2b, and 3b/2b. Mr. Hintz answered
specifically the number of units that are allocated for each group. Mr. McDonald
mentioned that they also handled the apartment complex on Irene Street, and that it
will somewhat resemble those units.

No one else came forward to speak.

Motion, to approve as presented, was made by Darlene Jones and seconded by
Jennifer Boggs. The motion passed unanimously, 5-0.
AN ORDINANCE AMENDING CHAPTER 12, EXHIBIT “A” OF THE CODE
       OF ORDINANCES, CITY OF SAN ANGELO, TEXAS, WHICH SAID EXHIBIT
       “A” OF CHAPTER 12 ADOPTS ZONING REGULATIONS, USE DISTRICTS
       AND A ZONING MAP, IN ACCORDANCE WITH A COMPREHENSIVE
       PLAN, BY CHANGING THE ZONING AND CLASSIFICATION OF THE
       FOLLOWING PROPERTY, TO WIT: an unaddressed 9.8 acre property out
       of approximately 75 acres currently described as Section 3, Arden
       Acres, which is located adjacent to and directly west of the intersection
       of Northwest Drive and Green Hill Road. The property specifically
       occupies a proposed Second Replat of Arden Acres, Section Three,
       Block 3, Tract 3 in western San Angelo, changing the zoning
       classification from a combination of Single-Family Residential (RS-1)
       and General Commercial (CG) to Planned Development (PD) District;
       PROVIDING FOR SEVERABILITY AND PROVIDING A PENALTY

RE:    PD 13-01:      West Company/Granger Macdonald

        WHEREAS, the Planning Commission for the City of San Angelo and the governing
body for the City of San Angelo, in compliance with the charter and the state law with
reference to zoning regulations and a zoning map, have given requisite notice by publication
and otherwise, and after holding hearings and affording a full and fair hearing to all property
owners and persons interested, generally, and to persons situated in the affected area and
in the vicinity thereof, is of the opinion that zoning changes should be made as set out
herein; NOW THEREFORE,

BE IT ORDAINED BY THE CITY OF SAN ANGELO:

       SECTION 1: That the basic zoning ordinance for the City of San Angelo, as enacted
by the governing body for the City of San Angelo on January 4, 2000 and included within
Chapter 12 of the Code of Ordinances for the City of San Angelo, be and the same is
hereby amended insofar as the property hereinafter set forth, and said ordinance generally
and the zoning map shall be amended insofar as the property hereinafter described: an
unaddressed 9.8 acre property out of approximately 75 acres currently described as
Section 3, Arden Acres, which is located adjacent to and directly west of the
intersection of Northwest Drive and Green Hill Road in western San Angelo shall
henceforth be permanently zoned as follows: Planned Development (PD) District
allowing for multi-family living and a lease house/amenity center.

The Director of Planning is hereby directed to correct zoning district maps in the office of the
Director of Planning, to reflect the herein described changes in zoning.

       SECTION 2: That in all other respects, the use of the hereinabove described
property shall be subject to all applicable regulations contained in Chapter 12 of the Code of
Ordinances for the City of San Angelo, as amended.
SECTION 3: That the following severability clause is adopted with this amendment:

        SEVERABILITY:
The terms and provisions of this Ordinance shall be deemed to be severable in that, if any
portion of this Ordinance shall be declared to be invalid, the same shall not affect the validity
of the other provisions of this Ordinance.

       SECTION 4: That the following penalty clause is adopted with this amendment:

      PENALTY:
Any person who violates any provisions of this article shall be guilty of a misdemeanor and,
upon conviction, shall be subject to a fine as provided for in Section 1.106 of the Code of
Ordinances for the City of San Angelo. Each day of such violation shall constitute a
separate offense.

        SECTION 5: Except as otherwise specified or limited below, the use and
development of the subject property shall generally conform to a High Rise Multi-Family
Residence (RM-2) zoning district unless specified as otherwise within this ordinance. All
activities shall be limited to those associated with multi-family living, lease
house/amenities center.

       SECTION 6: Overall site use shall be in accordance with the map shown as Exhibit
A of this Ordinance. Changes to the usage of this property shall be approved through an
amendment to this Planned Development District with approval from the Planning
Commission and City Council.

       SECTION 7: Design of the buildings, coloring, and materials shall conform to the
conditional approval given (see Urban Design Review 13-01) approved by the Planning
Director on February 8, 2013 and as maintained on file in the offices of the Planning
Division.

       SECTION 8: The following uses are allowed on the subject property, and shall
include:

       1. Apartment dwelling units for "Household Living" as defined in section 313.B.1 of
       the Zoning Ordinance.

       2. Offices are to be used solely for the management of the units developed on this
       site as shown on the concept plan.

       3. Incidental accessory uses are intended for tenants and their guests only; this
       includes laundry facilities, lease house/amenities center, and recreational areas.

       SECTION 9: Signage shall be allowed within this Planned Development District,
provided it meets all of the following criteria:
1. On-site signage shall be limited to free-standing (specifically monument) types
          only. Pole signage is expressly prohibited.

       2. Internally illuminated signage is expressly prohibited.

       3. All signage shall be constructed from the same materials and colors approved in
          the conditional approval given (see Urban Design Review 13-01) approved by the
          Planning Director on February 8, 2013 and as maintained on file in the offices of
          the Planning Division.

       4. Quantity of signage, area of signage, and placement of signage shall be as
          directed within the Sign Ordinance for the City of San Angelo.

       SECTION 10: Fencing around the exterior of the site and the pool area shall be
of wrought iron with masonry and stone columns consistent with the conditional approval
given (see Urban Design Review 13-01) approved by the Planning Director on February 8,
2013 and as maintained on file in the offices of the Planning Division. Other usage of
fencing material for screening purposes, within the confines of the concept plan for this
Planned Development shall be in accordance with the standards set forth in Section 509
of the Zoning Ordinance.

       SECTION 11: Parking standards within this Planned Development District shall
be as follows:

       1. One bedroom apartments shall have 1.5 parking spaces per unit.

       2. Two bedroom apartments shall have 1.75 parking spaces per unit

       3. Three bedroom apartments shall have 2.0 parking spaces per unit.

       4. Areas used for the rental office shall have 1 parking space per 300 square feet
          gross of office space.

       5. Design standards for the parking spaces shall be in accordance with Section
          511 of the Zoning Ordinance. Section 511.G of the Zoning Ordinance defines
          dimensions and maneuvering room. Section 511.F of the Zoning Ordinance
          defines the maintenance of parking facilities.

       SECTION 12: The sidewalks as shown on the graphic concept plan identified in
Exhibit A shall be no less than four feet in width, shall be installed prior to the issuance
of a certificate of occupancy, and shall meet all ADA accessibility standards.

      SECTION 13: No outdoor storage shall be allowed within the boundaries of this
Planned Development District.
SECTION 14: This Planned Development district shall not be added to the
Official Zoning Map for the City of San Angelo, until the replat establishing Tract 3,
Block 3, in Section Three of the Arden Acres is recorded with the Tom Green County
Clerk.


INTRODUCED on the 5th day of March, 2013 and finally PASSED, APPROVED AND
ADOPTED on this the 19th day of March, 2013.


                                        THE CITY OF SAN ANGELO




                                           ____________________________________
                                           Alvin New, Mayor

ATTEST:



________________________________
Alicia Ramirez, City Clerk




Approved As To Content:                 Approved As To Form:


_________________________               ________________________
AJ Fawver, Interim Director of          Lysia H. Bowling, City Attorney
Development Services
Exhibit A, Site Plan
City of San Angelo



Memo
 Meeting Date:   February 19, 2013

 To:             City Council members

 From:           Roxanne Johnston, Planner

 Subject:        Z13-02: Debbie Clark. A request for approval of a zone
                 change from Single-Family Residential (RS-1) to Two-Family
                 Residential (RS-2) to specifically allow for “Household
                 Living” as allowed in RS-2 zoning districts on the following
                 property:

 Location:       2008 Beacon Street, located on the northeast corner of
                 the intersection of Beacon Street and Montague Avenue.
                 This property specifically occupies the Avondale Addition,
                 Block 10, Lots 15-20, in central San Angelo.


 Purpose:        Approval or modification of this request by the Planning
                 Commission would forward the recommendation to City
                 Council for a final decision on the matter.

 Contacts:       Debbie Clark                                         325-659-3901
                 Roxanne Johnston, Planner                            325-657-4210


 Caption:        First Public Hearing and consideration of introduction of an Ordinance
                 amending Chapter 12, Exhibit “A” (Zoning Ordinance) of the Code of
                 Ordinances, City of San Angelo

                 Z 13-02: Debbie Clark

                 AN ORDINANCE AMENDING CHAPTER 12, EXHIBIT “A” OF THE
                 CODE OF ORDINANCES, CITY OF SAN ANGELO, TEXAS, WHICH
                 SAID EXHIBIT “A” OF CHAPTER 12 ADOPTS ZONING
                 REGULATIONS, USE DISTRICTS AND A ZONING MAP, IN
                 ACCORDANCE WITH A COMPREHENSIVE PLAN, BY CHANGING
THE ZONING AND CLASSIFICATION OF THE FOLLOWING
                         PROPERTY, TO WIT: 2008 Beacon Street, located on the
                         northeast corner of the intersection of Beacon Street and
                         Montague Avenue. This property specifically occupies the
                         Avondale Addition, Block 10, Lots 15-20, in central San Angelo,
                         changing the zoning classification from a Single-Family
                         Residential (RS-1) to a Two-Family Residential (RS-2) District;
                         PROVIDING FOR SEVERABILITY AND PROVIDING A PENALTY




     Summary: The City Council may:

     (1) Approve this zone change request from RS-1 to RS-2 which would allow for
         “Household Living” as allowed in RS-2 zoning districts; or

     (2) Modify the application to some alternative zoning classification believed to
         be more appropriate; or


     (3) Deny this zoning request from RS-1 to RS-2.

     Recommendation:          City staff recommends approving the proposed zone
     change.

     On January 28, 2013, the Planning Commission recommended approval of this
     request by a unanimous vote of 5-0.



History and Background:

     General Information

           Existing Zoning:             Single Family Residential (RS-1)

           Existing Land Use:           Vacant property, vacant residence

           Surrounding Zoning/Land Use:

            North:     RS-1                                Residential
            West:      RS-1 & RS-2                         Residential
            South:     RS-1 & OW                           Residential & vacant property
            East:      RS-1 & CO                           Residential & vacant property

           Thoroughfares/Streets:       Montague Avenue is defined as a “major
                                        collector” and is designed to carry traffic at
moderate speeds to connect arterials to
                          local streets

                          Beacon Street is defined as a “local street”
                          which carries light neighborhood traffic at
                          lower speeds and generally connects to
                          collector streets.

Zoning History:           The property has been a part of the city
                          limits since at least 1949 with little change
                          in zoning and use to the immediate area.

Applicable Regulations:   Allowed uses for this property can be
                          found in Section 310 (Use Table) of the
                          Zoning Ordinance.

                          Section 511.B of the Zoning Ordinance
                          requires two off-street parking spaces per
                          dwelling unit.


Development Standards:    Residential development setbacks are
                          outlined in Section 501 of the Zoning
                          Ordinance.

                          All required off-street parking and the
                          connection(s) to a public right-of-way are
                          required to be paved as defined in Section
                          511.F.3 of the Zoning Ordinance.


Vision Plan Map:          Neighborhood for the subject properties with
                          a Transitional Zone located directly south on
                          Beacon Street as a buffer to Commercial
                          envisioned areas further south.

Related Comp Plan
Excerpts:                 “Create new physical connections to
                          neighborhoods lined with transitional and
                          intermediate uses."

                          "Promote neighborhood diversity and
                          security by encouraging a mix of age,
                          income, and housing choices within San
                          Angelo's neighborhoods.”

                          "Encourage in-fill development sensitive to the
                          existing and desired content of the area”

                          “Encourage the re-use of vacant buildings in the
                          city. Carefully integrate new uses into older
areas, in a manner that encourages comfort,
                                       accessibility, efficiency and aesthetic gratification
                                       for resident and visitor alike.”

                                       “All residents within each neighborhood
                                       boundary should be able to meet their daily
                                       needs within a reasonable and accessible
                                       distance from their home.”

                                       "Variety of residential product types -
                                       multi-family, townhomes, courtyard homes,
                                       patio homes, etc."

                                       Establish transition areas to better "scale-
                                       down" intensity of use from commercial
                                       centers to neighborhoods."

            Special Information

            Traffic Concerns:          Changing the zoning to RS-2 will create
                                       little impact on the volume of traffic than if
                                       the property remained as-is, being that 4 of
                                       the lots are vacant at this time.

            Parking Requirements:      New residential units require a minimum of
                                       two off-street parking spaces. All areas used
                                       for off-street parking shall be paved, per
                                       Section 511.F.3 of the Zoning Ordinance.

            Parking Provided:          No paved parking spots at this time.

            Density:                   Surrounding uses are predominately of a
                                       low density residential nature. There are
                                       many vacant lots in the area.

            Notification Required:     Yes

            Notifications Sent:        22

            Responses in Favor:        3

            Responses in Opposition:   0

Analysis:

     In order to approve this Zone change request, City Council members are first
     required to consider the following criteria:
1. Compatible with Plans and Policies. Whether the proposed amendment is
   compatible with the Comprehensive Plan and any other land use policies
   adopted by the Planning Commission or City Council.

2. Consistent with Zoning Ordinance. Whether and the extent to which the
   proposed amendment would conflict with any portion of this Zoning
   Ordinance.

3. Compatible with Surrounding Area. Whether and the extent to which the
   proposed amendment is compatible with existing and proposed uses
   surrounding the subject land and is the appropriate zoning district for the land.

4. Changed Conditions. Whether and the extent to which there are changed
   conditions that require an amendment.

5. Effect on Natural Environment. Whether and the extent to which the
   proposed amendment would result in significant adverse impacts on the
   natural environment, including but not limited to water and air quality, noise,
   storm water management, wildlife, vegetation, wetlands and the practical
   functioning of the natural environment.

6. Community Need. Whether and the extent to which the proposed
   amendment addresses a demonstrated community need.

7. Development Patterns. Whether and the extent to which the proposed
   amendment would result in a logical and orderly pattern of urban
   development in the community.


The staff recommendation is based upon the statements listed below.

The applicant stated to Planning Staff that she wished to re-zone so that she
could convert an existing vacant building into a duplex. This zone change request
from RS-1 to RS-2 is a only a slight change from current zoning and Staff feels
that the proposed change is in keeping with the 7 criteria listed above, all of
which will be explained in the following.

A zone change to RS-2 will allow the owner and future owners to enjoy the same
residential uses that are allowed by right as current zoning with just one
exception. Essentially, the only difference is that it allows a two family residence
or accessory apartment on the property. Because of this minute difference, the
proposed zone change is consistent with both the Zoning Ordinance and the
Comprehensive Plan. Again, since there is little change from its current zoning
the immediate area will remain residential. The proposed zone change area lies
amid an older, more established low-density residential area with large sections
of undeveloped land nearby to the east and north. Beacon Street dead ends
about 200 feet east of the property. As a major collector, Montague Street is
situated west of the subject property and ties into East Houston Harte
Expressway, located approximately 390 feet south of the property.

The Comprehensive Plan calls for residential areas to be typified by a mix of housing
stock, which in this case refers to the addition of a duplex, and for housing to be in
close proximity to commercial zones, which is also the case here. Two different uses
were introduced nearby; in 1982, an area approximately 155 feet west of the subject
property was re-zoned from RS-1 to RS-2 to allow for a duplex. In 1985, Special
Permit 1122 was given to allow for “a mobile home to be owner family occupied
and to have two residences on one zoning lot.” These illustrate a precedence by
the City Council to allow a mix of housing stock to the area, which was and still is in
keeping with the Comprehensive Plan as would allowing an additional zone change
from RS-1 to RS-2 in this area.

Conditions would remain relatively the same or may even improve should the
zone change be approved. There are several vacant lots in and around the
subject property. The Vision Plan calls for the subject property to remain as
‘Neighborhood’ in nature with a “Transitional” zoning district directly to the south.
This “Transitional” zone creates a buffer between commercial areas further
south, which is an ideal situation in terms of the Vision Plan. Therefore, the zone
change request is consistent with aspects of the Vision Plan and will most
certainly have a positive impact on current and future land uses. RS-2 zoning
here for a duplex could also encourage redevelopment and provide
encouragement for future neighborhood development that would be compatible
with surrounding uses, including Holiman Elementary School to the north of this
neighborhood and Producer’s Park to the northwest.

This zoning request would have minimal negative impacts on the natural
environment, again, since there is a little change between RS-1 and RS-2 uses.
The only perceivable difference would be that a minimum of two paved parking
spaces per dwelling unit and the access from the street to them are required per
Section 511 of the Ordinance, but this would cause overall minimal runoff to the
area as would the construction of a larger building footprint. These would most
likely not negatively affect neighboring properties.

San Angelo is experiencing a need for increased housing stock as our population
has been increasing. According to the United States Department of Commerce,
population increased by nearly 5,000 between the years 2000 and 2010. 1 In this
instance, an existing vacant house would be repurposed to provide more housing
to assist with community need, so Criteria 6 would be met should the zone
change be approved.
Smart
Also addressing community need is this: the proposed area is situated in what
contains several potential components of a walk-able community from a Smart
 1
     www.quickfacts.census.gov (accessed 01/18/13).
Growth point of view. Smart Growth, can be defined as “development that
serves the economy, the community and the environment”2 and promotes strong
neighborhoods through choices in transportation and housing. Smart Growth also
offers a higher level of social interaction, reduced emissions caused by
automobile travel and greater opportunities for physical opportunity that are
brought about by higher pedestrian and bicycling uses.          Both Holiman
Elementary north on Montague Street and Producer’s Park to the northwest off of
Magnolia Street are located less than 1/3 of a mile from the subject property.
Commercial access exists less than a half a mile west from the subject property
along Bell Street. These are just three examples of current locations that area
residents have reasonable pedestrian and bicycle access to.

In addition to meeting Criteria 1-6, Staff feels this request is in keeping with
Criteria 7. A rezone to RS-2 is most certainly a logical progression in terms of
development patterns. Again, the change is very slight from the current zoning
and the Vision Plan calls for the area to remain residential. A rezone to RS-2
would have little negative impact on the area, if any, and again, could help
encourage future development in a predictable, orderly manner which is exactly
the intent of the Comprehensive Plan and Zoning Ordinance.




Proposed Conditions

         N/A

Attachments:                     Excerpt from zoning map, showing the general
                                 location within the City of San Angelo;

                                 excerpt from     zoning     map,   highlighting   subject
                                 property;

                                 aerial photo, highlighting subject property;

                                 excerpt from the Comprehensive Plan Vision map
                                 highlighting the subject property; and

                                 notification map highlighting         responses     from
                                 neighboring properties.

                                 citizen response letters;

                                 draft minutes from January 28, 2013 Planning
                                 Commission meeting; and

 2
     www.smartgrowthpa.org (accessed 01/22/13).
draft Ordinance.



Presentation:   Roxanne Johnston, Planner

Reviewed by:    Jeff Hintz, Interim Senior Planner (01/21/13)
AN ORDINANCE AMENDING CHAPTER 12, EXHIBIT “A” OF THE CODE OF
       ORDINANCES, CITY OF SAN ANGELO, TEXAS, WHICH SAID EXHIBIT “A” OF
       CHAPTER 12 ADOPTS ZONING REGULATIONS, USE DISTRICTS AND A
       ZONING MAP, IN ACCORDANCE WITH A COMPREHENSIVE PLAN, BY
       CHANGING THE ZONING AND CLASSIFICATION OF THE FOLLOWING
       PROPERTY, TO WIT: 2008 Beacon Street, located on the northeast corner
       of the intersection of Beacon Street and Montague Avenue. This property
       specifically occupies the Avondale Addition, Block 10, Lots 15-20, in central
       San Angelo; changing the zoning classification from a Single-Family
       Residential (RS-1) to a Two-Family Residential (RS-2) District; PROVIDING
       FOR SEVERABILITY AND PROVIDING A PENALTY

RE:    Z 13-02: Debbie Clark

        WHEREAS, the Planning Commission for the City of San Angelo and the governing
body for the City of San Angelo, in compliance with the charter and the state law with
reference to zoning regulations and a zoning map, have given requisite notice by publication
and otherwise, and after holding hearings and affording a full and fair hearing to all property
owners and persons interested, generally, and to persons situated in the affected area and
in the vicinity thereof, is of the opinion that zoning changes should be made as set out
herein; NOW THEREFORE,

BE IT ORDAINED BY THE CITY OF SAN ANGELO:

       SECTION 1: That the basic zoning ordinance for the City of San Angelo, as enacted
by the governing body for the City of San Angelo on January 4, 2000 and included within
Chapter 12 of the Code of Ordinances for the City of San Angelo, be and the same is
hereby amended insofar as the property hereinafter set forth, and said ordinance generally
and the zoning map shall be amended insofar as the property hereinafter described: 2008
Beacon Street, located on the northeast corner of the intersection of Beacon Street and
Montague Avenue. This property specifically occupies the Avondale Addition, Block 10,
Lots 15-20, in central San Angelo, shall henceforth be permanently zoned as follows: Two-
Family Residential (RS-2) District.

The Director of Planning is hereby directed to correct zoning district maps in the office of the
Director of Planning, to reflect the herein described changes in zoning.

       SECTION 2: That in all other respects, the use of the hereinabove described
property shall be subject to all applicable regulations contained in Chapter 12 of the Code of
Ordinances for the City of San Angelo, as amended.

       SECTION 3: That the following severability clause is adopted with this amendment:
SEVERABILITY:
      The terms and provisions of this Ordinance shall be deemed to be severable in that,
      if any portion of this Ordinance shall be declared to be invalid, the same shall not
      affect the validity of the other provisions of this Ordinance.

      SECTION 4: That the following penalty clause is adopted with this amendment:

      PENALTY:
      Any person who violates any provisions of this article shall be guilty of a
      misdemeanor and, upon conviction, shall be subject to a fine as provided for in
      Section 1.106 of the Code of Ordinances for the City of San Angelo. Each day of
      such violation shall constitute a separate offense.


INTRODUCED on the 19th day of February, 2013 and finally PASSED, APPROVED AND
ADOPTED on this the 5th day of March, 2013.


                                         THE CITY OF SAN ANGELO




                                            ____________________________________
                                            Alvin New, Mayor

ATTEST:




________________________________
Alicia Ramirez, City Clerk




Approved As To Content:                  Approved As To Form:


_________________________                ________________________
AJ Fawver, Planning Manager   Lysia H. Bowling, City Attorney
MINUTE RECORD OF THE CITY OF SAN ANGELO PLANNING
  COMMISSION MEETING HELD ON MONDAY, October 15, 2012 AT 9:00
  AM IN THE SOUTH MEETING ROOM OF THE SAN ANGELO
  CONVENTION CENTER, 500 RIO CONCHO DRIVE, SAN ANGELO,
  TEXAS

PRESENT: Joe Grimes, Bill Lawrence, Jennifer Boggs, Darlene Jones,
  Bill Wynne

ABSENT:       Sebastian Guerrero (AE), Sam Tambunga (AE)

STAFF:     AJ Fawver, Planning Manager
    Jeff Hintz, Planner
    Kevin Boyd, Planner
    Roxanne Johnston, Planner


B. Z 13-02: Debbie Clark

  A request for approval of a zone change from Single-Family Residential (RS-
  1) to Two-Family Residential (RS-2) to specifically allow for “Household
  Living” as allowed in RS-2 zoning districts on the following property:

  2008 Beacon Street, located on the northeast corner of the intersection of
  Beacon Street and Montague Avenue. This property specifically occupies
  the Avondale Addition, Block 10, Lots 15-20, in central San Angelo.

Roxanne Johnston came forward to present this item, consistent with the staff
recommendation of approval. There were 22 notifications sent out, with 3
returned in favor and 0 returned in opposition of the request. She showed a
series of maps to the Commission members, illustrating the area in which the
subject property is located. She illustrated the tracts representing owners who
were in favor of this request. Ms. Johnston also reviewed the criteria of
approval which the Zoning Ordinance requires to be considered in all zone
change cases. Ms. Johnston discussed that the Comprehensive Plan
discusses establishing a mix of housing within neighborhoods and encourages
"neighborhood" development in this area, which staff feels this would meet.
This is especially so when realizing that there is an area for "transitional"
development immediately adjacent to the property.

The area is largely developed in a traditional neighborhood style, with
infrastructure and a street network largely reflective of - and appropriate for -
this type of development. There is a school in this neighborhood area, along
with a city park. There are a few businesses in the area that help promote a
walkable community. Staff feels a minor change in land use fits in and meets
all of the criteria which are required for consideration in this area as outlined in
the Comprehensive Plan.

There were no questions for Ms. Johnston.

Debbie Clark, the proponent, came forward to speak in favor of this request.
She would like to develop this area now and in the future.

There was no one else in attendance who desired to speak on this item.

Motion, to approve as presented, was made by Bill Wynne and seconded by
Jennifer Boggs. Motion passed unanimously, 5-0.
AN ORDINANCE AMENDING CHAPTER 12, EXHIBIT “A” OF THE CODE OF
       ORDINANCES, CITY OF SAN ANGELO, TEXAS, WHICH SAID EXHIBIT “A” OF
       CHAPTER 12 ADOPTS ZONING REGULATIONS, USE DISTRICTS AND A
       ZONING MAP, IN ACCORDANCE WITH A COMPREHENSIVE PLAN, BY
       CHANGING THE ZONING AND CLASSIFICATION OF THE FOLLOWING
       PROPERTY, TO WIT: 2008 Beacon Street, located on the northeast corner
       of the intersection of Beacon Street and Montague Avenue. This property
       specifically occupies the Avondale Addition, Block 10, Lots 15-20, in central
       San Angelo; changing the zoning classification from a Single-Family
       Residential (RS-1) to a Two-Family Residential (RS-2) District; PROVIDING
       FOR SEVERABILITY AND PROVIDING A PENALTY

RE:    Z 13-02: Debbie Clark

        WHEREAS, the Planning Commission for the City of San Angelo and the governing
body for the City of San Angelo, in compliance with the charter and the state law with
reference to zoning regulations and a zoning map, have given requisite notice by publication
and otherwise, and after holding hearings and affording a full and fair hearing to all property
owners and persons interested, generally, and to persons situated in the affected area and
in the vicinity thereof, is of the opinion that zoning changes should be made as set out
herein; NOW THEREFORE,

BE IT ORDAINED BY THE CITY OF SAN ANGELO:

       SECTION 1: That the basic zoning ordinance for the City of San Angelo, as enacted
by the governing body for the City of San Angelo on January 4, 2000 and included within
Chapter 12 of the Code of Ordinances for the City of San Angelo, be and the same is
hereby amended insofar as the property hereinafter set forth, and said ordinance generally
and the zoning map shall be amended insofar as the property hereinafter described: 2008
Beacon Street, located on the northeast corner of the intersection of Beacon Street and
Montague Avenue. This property specifically occupies the Avondale Addition, Block 10,
Lots 15-20, in central San Angelo, shall henceforth be permanently zoned as follows: Two-
Family Residential (RS-2) District.

The Director of Planning is hereby directed to correct zoning district maps in the office of the
Director of Planning, to reflect the herein described changes in zoning.

       SECTION 2: That in all other respects, the use of the hereinabove described
property shall be subject to all applicable regulations contained in Chapter 12 of the Code of
Ordinances for the City of San Angelo, as amended.

       SECTION 3: That the following severability clause is adopted with this amendment:

       SEVERABILITY:
The terms and provisions of this Ordinance shall be deemed to be severable in that,
      if any portion of this Ordinance shall be declared to be invalid, the same shall not
      affect the validity of the other provisions of this Ordinance.

      SECTION 4: That the following penalty clause is adopted with this amendment:

      PENALTY:
      Any person who violates any provisions of this article shall be guilty of a
      misdemeanor and, upon conviction, shall be subject to a fine as provided for in
      Section 1.106 of the Code of Ordinances for the City of San Angelo. Each day of
      such violation shall constitute a separate offense.


INTRODUCED on the 19th day of February, 2013 and finally PASSED, APPROVED AND
ADOPTED on this the 5th day of March, 2013.


                                         THE CITY OF SAN ANGELO




                                            ____________________________________
                                            Alvin New, Mayor

ATTEST:




________________________________
Alicia Ramirez, City Clerk




Approved As To Content:                  Approved As To Form:


_________________________                ________________________
AJ Fawver, Planning Manager              Lysia H. Bowling, City Attorney
City of             San
                                                      Angelo


Memo
 Meeting Date:   February 19, 2013

 To:             City Council members

 From:           Jeff Hintz, Interim Senior Planner

 Subject:        Z 13-03 Tom Green County: A request for approval of a
                 zone change from Single-Family Residential (RS-1) to
                 Neighborhood Commercial (CN) to specifically allow for
                 commercial opportunities as allowed in CN zoning districts
                 on the following property:

 Location:       318 North Bell Street, located on the northeast corner of the
                 intersection of North Bell Street and Spaulding Street. This
                 property specifically occupies the Bell Addition, Block 9, 2.35
                 acres in the southwest corner of Block 9, in north central San
                 Angelo.

 Purpose:        Approval of this request would           zone   the   property
                 Neighborhood Commercial (CN)

 Contacts:       Judge Michael D. Brown                          325-653-3318
                 Jeff Hintz, Planner                             325-657-4210


 Caption:        First Public Hearing and consideration of introduction of an
                 Ordinance amending Chapter 12, Exhibit “A” (Zoning
                 Ordinance) of the Code of Ordinances, City of San Angelo

                 Z 13-03: Tom Green County

                 AN ORDINANCE AMENDING CHAPTER 12, EXHIBIT “A” OF
                 THE CODE OF ORDINANCES, CITY OF SAN ANGELO,
                 TEXAS, WHICH SAID EXHIBIT “A” OF CHAPTER 12
                 ADOPTS ZONING REGULATIONS, USE DISTRICTS AND A
                 ZONING   MAP,   IN   ACCORDANCE      WITH      A
COMPREHENSIVE PLAN, BY CHANGING THE ZONING
                         AND CLASSIFICATION OF THE FOLLOWING PROPERTY,
                         TO WIT: 318 North Bell Street, located on the northeast
                         corner of the intersection of North Bell Street and
                         Spaulding Street. This property specifically occupies the
                         Bell Addition, Block 9, 2.35 acres in the southwest corner
                         of Block 9, in north central San Angelo, changing the
                         zoning classification from Single-Family Residential (RS-1)
                         to Neighborhood Commercial (CN) District; PROVIDING
                         FOR SEVERABILITY AND PROVIDING A PENALTY



     Summary: The City Council may:

     (1) Approve the proposed zone change; or

     (2) Remand the application back to Planning Commission for further discussion,
         in which case another public hearing will need to be scheduled; or

     (3) Deny the proposed zone change.


     Recommendation:            Planning staff recommends approving the proposed
     zone change.

     The Planning Commission recommended approval of this request 5-0 at the
     January 28, 2013 Meeting.


History and Background:



     General Information

           Existing Zoning:            Single-Family Residential (RS-1)

           Existing Land Use:          Vacant office building and parking lot

           Surrounding Zoning/Land Use:

            North:                 CG/CH         Various retail establishments
            West:                   RS-1         Mobile Home Park
            South:                  RS-1         Church & single-family residences
            East:                 CN & RS-1      Church & single-family residences
Thoroughfares/Streets:    Pulliam Street & North Bell Street are defined
                          as "arterial streets," and designed to connect
                          collector streets to freeways and other
                          arterials carrying large volumes of traffic at
                          high speeds. Access is secondary and
                          mobility is the primary function of these
                          streets.

Zoning History:           Special Permit 200 approved in August of
                          1966 allowed the construction of a "welfare
                          building" in an RS-1 zoning district.

Applicable Regulations:    Allowed uses for this property can be
                          found in Section 310 (Use Table) of the
                          Zoning Ordinance

Development Standards:    Section 502 of the Zoning Ordinance
                          covers general development standards for
                          the property.

                          In CN districts, “Type 1 Outdoor Display
                          shall be allowed adjacent to a principal
                          building wall and extending to a distance
                          no greater than 5 feet from the          wall.
                          Such storage shall not be permitted to
                          block windows, entrances or exits, and
                          shall not impair the ability of pedestrians to
                          use the building.”

Vision Plan Map:          Neighborhood Center

Comp Plan Excerpts:       Within the Comprehensive Plan, Goal 3 of
                          “Neighborhoods” is to “improve the
                          relationship between adjacent commercial
                          and residential properties”. CG/CH zoning
                          currently borders the RS-1 properties, a
                          CN zoning would be a more suitable and
                          less harsh buffer between the two.

                          “Commercial properties tend to be
                          organized in a single use, isolated pattern
                          of development. This form generates little
                          synergy between businesses and land
                          uses and often results in incompatibility.”

                          “All residents within each neighborhood
                          boundary should be able to meet their
                          daily needs within a reasonable and
                          accessible     distance from their home.”
“Promote better transition between nearby
                                commercial and residential use of land and
                                buildings.”

                                “Rezone or remove any CG/CH zoning
                                from adjacent to existing neighborhoods."

                                “Require a buffer separating commercial,
                                industrial, or agricultural zoned lands from
                                neighborhoods.”

                                “Establish transition     areas     between
                                commercial      areas       and      nearby
                                neighborhoods.”

                                “Organize commercial uses in nodes to
                                avoid deteriorating corridors.”

Special Information

     Traffic Concerns:          Changing the zoning from residential to
                                commercial generally will add traffic to an
                                area, however given the past zoning
                                history on the property, this residential
                                property has functioned as commercial
                                property for decades.

     Parking Requirements:      Section 511 of the Zoning Ordinance
                                covers     parking     standards     and
                                requirements vary by proposed usage(s).

     Parking Provided:          It appears off-street parking is available on
                                this lot; the number of spots will depend
                                upon lot orientation and future building
                                configuration.

     Density:                   This general area is of medium density
                                residential and higher intensity commercial
                                uses that are of a lower density.

     Notification Required:     Yes

     Notifications Sent:        17

     Responses in Favor:        0

     Responses in Opposition:   0
Analysis:

     In order to approve this zone change request, the City Council members are first
     required to consider the following criteria:

     1. Compatible with Plans and Policies. Whether the proposed amendment is
        compatible with the Comprehensive Plan and any other land use policies adopted
        by the Planning Commission or City Council.

     2. Consistent with Zoning Ordinance. Whether and the extent to which the
        proposed amendment would conflict with any portion of this Zoning Ordinance.

     3. Compatible with Surrounding Area. Whether and the extent to which the
        proposed amendment is compatible with existing and proposed uses surrounding
        the subject land and is the appropriate zoning district for the land.

     4. Changed Conditions. Whether and the extent to which there are changed
        conditions that require an amendment.

     5. Effect on Natural Environment. Whether and the extent to which the proposed
        amendment would result in significant adverse impacts on the natural
        environment, including but not limited to water and air quality, noise, storm water
        management, wildlife, vegetation, wetlands and the practical functioning of the
        natural environment.

     6. Community Need. Whether and the extent to which the proposed amendment
        addresses a demonstrated community need.

     7. Development Patterns. Whether and the extent to which the proposed
        amendment would result in a logical and orderly pattern of urban development in
        the community.

     The staff recommendation is based upon the statements listed below.

     In looking at this proposal, Planning staff has found that a CN zoning district is
     compatible with the plans and policies in place for the community and that the
     zone change is consistent with the zoning ordinance. This particular property has
     functioned as a public building in some fashion for nearly 50 years despite the
     RS-1 zoning. This area between Pulliam Street and Koberlin Street is a mixed
     use are with a multitude of varying uses. Houses, churches, and some lower
     intensity commercial opportunities make sense; the plans and policies in place
     for the community recognize this need for neighborhood serving businesses that
     a CN zoning district will allow for.

     Introducing a more intensive zoning district would not be appropriate for this area
     given the intensive land uses allowed for in CG/CH zoning that is present on
Pulliam. A CN zoning designation will provide a suitable buffer into the
neighborhoods that are prevalent to the south of this subject property without
diminishing the ability for this property to develop. At the same time, a CN zone
will also allow the responsible and sustainable development of the
neighborhoods to the south. This zone change request is certainly in line with the
intent of the Zoning Ordinance as responsible & predictable development for
properties both new and in the future is exactly the intent of the Zoning
Ordinance.

Staff believes that the CN zoning in this area is compatible with the surrounding
area; as previously mentioned, the lower intensity commercial opportunities that
are allowed within this zoning district have high potential to be an asset to the
neighborhood in both the short and long term. While not all types of commercial
activities would be appropriate for this particular property (given the proximity to
the neighborhood, churches, and other lower intensity businesses) staff believes
some lower intensity neighborhood serving businesses would be a fit that is
compatible with the surrounding area. Several properties to the south of this
general area provide prime opportunities for some infill development; some new
businesses that serve the area may have the potential to revitalize this area and
usher in the infill development.

This area is envisioned within the Comprehensive Plan's Vision Map as a
"Neighborhood Center." CN zoning fits in this vision. Neighborhood Center
envisioned areas are designed to compliment neighborhoods with opportunities
for higher density residential opportunities and some lower intensity, lower scale
commercial opportunities. In this case, the Neighborhood Center envisioned area
provides these development opportunities, and serves as a buffer from the
"Industrial" and higher intensity "Commercial" envisioned areas just to the
northwest of this area. Since this particular zone change is in harmony with the
Comprehensive Plan, there is no need for an amendment to the Comprehensive
Plan to approve this request.

In addition, staff does not believe the impact on the natural environment will be
detrimentally affected through the approval of this zone change. While some
impact due to storm water runoff will certainly be taking place (since the property
is already improved) staff is unable to find any other negative environmental
consequences that will result from this zone change. Staff also believes this zone
change request has potential to serve a community need in this particular area.
Pulliam Street offers multiple opportunities for higher intensity commercial
development in the CG/CH zoning district in this area, however the opportunities
for neighborhood serving, walkable businesses in this area are less prevalent.
From this standpoint, staff believes this proposal for CN zoning will help to fill a
community need and be a benefit to the area.

Staff finds that a CN zoning district on the subject property will create an orderly
development pattern that is consistent with the surrounding area. As one travels
south from Pulliam along Bell Street, the character of the area is much less
intense and becomes solely residential fairly quickly. Staff feels anything more
intensive in this area has the potential to upset this balance and encroach into a
long standing neighborhood. It should be mentioned that this neighborhood has
been zoned as RS-1 since approximately 1954 and for the most part has
developed as such with little commercial encroachment. Staff finds is necessary
to protect and promote the current and future growth of this neighborhood; the
introduction of CN zoning will allow this to occur while serving the needs of the
residents of this neighborhood at the same time. Neighborhood serving, walkable
businesses will serve the neighborhood in this area both now and in the future;
the goals of infill, walkable development are highly in line with the City's
Comprehensive Plan and sound neighborhood development principles. Staff
believes this request will be a responsible addition, that is in harmony with the
neighborhood and will only aid in the future development of the area.

Proposed Conditions

      N/A

Attachments:               excerpt from zoning map, showing the general location
                           within the City of San Angelo;

                           excerpt from       zoning   map,   highlighting   subject
                           property;

                           aerial photo, highlighting subject property;

                           excerpt from the Comprehensive Plan Vision Map
                           highlighting the subject property;

                           draft minutes from 01/28/13 Planning Commission
                           meeting; and

                           Draft Ordinance.

Presentation:              AJ Fawver, Interim Director of Development Services.
C. Z 13-03: Tom Green County

  A request for approval of a zone change from Single-Family Residential (RS-1) to
  Neighborhood Commercial (CN) to specifically allow for commercial opportunities
  as allowed in CN zoning districts on the following property:

  318 North Bell Street, located on the northeast corner of the intersection of North
  Bell Street and Spaulding Street. This property specifically occupies the Bell
  Addition, Block 9, 2.35 acres in the southwest corner of Block 9, in north central
  San Angelo.

Jeff Hintz, Interim Senior Planner, came forward to present this request, consistent
with the staff recommendation of approval. Mr. Hintz began by revealing that 17
notifications were sent out on this request, and 0 were received in favor or in
opposition to this request. Mr. Hintz explained that Tom Green County is looking to
sell this property.       Mr. Hintz revealed that the Vision Plan map calls for
"neighborhood center" at this location. A number of photographs were shown on
and around the site. There are two churches in close proximity to this location, and
a large neighborhood, which is mostly developed. The Comprehensive Plan
encourages buffer zones to be located between commercial properties and
residential neighborhoods. This property is in a prime location to provide such a
buffer zone, and the proposal is consistent with that idea. There is a mix of zoning
districts in the area, as well as a special permit in place which would allow a
"welfare building" on the property - which is what the county utilized that site for at
one time. He referred back to the criteria of approval which Ms. Johnston reviewed
in depth in the previous case. Mr. Hintz also reviewed several excerpts from the
city's Comprehensive Plan which supports this type of zoning at this location. This
proposal is consistent with the City's plans and policies. Staff believes this type of
zoning is suitable for this area and is a good fit as opposed to heavier types of
commercial zoning. This does follow development patterns for this area. Staff sees
little anticipated effect on the natural environment, especially when considering that
the building is already constructed and in place.

Bill Lawrence asked for clarification regarding the buffer zone placement at this
location and addressed the opportunity for a better and more appropriate transition
to be placed at this site. The "neighborhood center" is intended for higher-density
residential development, and so the current zoning does not work in line with that
intention.

Bill Wynne stated his opinion that this would correct the zoning that has long been
in place.

Judge Mike Brown, with Tom Green County, came forward to speak in favor of this
request. He stated that their objective is to have the zoning changed to something
more marketable in order to offer it for sale down the road. The building is currently
vacant.

There were no other comments in favor or in opposition of the request.
Motion, to approve as presented, was made by Joe Grimes and seconded by
Jennifer Boggs. The motion passed unanimously, 5-0.
AN ORDINANCE AMENDING CHAPTER 12, EXHIBIT “A” OF THE CODE OF
       ORDINANCES, CITY OF SAN ANGELO, TEXAS, WHICH SAID EXHIBIT “A” OF
       CHAPTER 12 ADOPTS ZONING REGULATIONS, USE DISTRICTS AND A
       ZONING MAP, IN ACCORDANCE WITH A COMPREHENSIVE PLAN, BY
       CHANGING THE ZONING AND CLASSIFICATION OF THE FOLLOWING
       PROPERTY, TO WIT: 318 North Bell Street, located on the northeast corner
       of the intersection of North Bell Street and Spaulding Street. This property
       specifically occupies the Bell Addition, Block 9, 2.35 acres in the southwest
       corner of Block 9, in north central San Angelo, changing the zoning
       classification from Single-Family Residential (RS-1) to Neighborhood
       Commercial (CN) District; PROVIDING FOR SEVERABILITY AND PROVIDING
       A PENALTY

RE:    Z 13-03:       Tom Green County

        WHEREAS, the Planning Commission for the City of San Angelo and the governing
body for the City of San Angelo, in compliance with the charter and the state law with
reference to zoning regulations and a zoning map, have given requisite notice by publication
and otherwise, and after holding hearings and affording a full and fair hearing to all property
owners and persons interested, generally, and to persons situated in the affected area and
in the vicinity thereof, is of the opinion that zoning changes should be made as set out
herein; NOW THEREFORE,

BE IT ORDAINED BY THE CITY OF SAN ANGELO:

       SECTION 1: That the basic zoning ordinance for the City of San Angelo, as enacted
by the governing body for the City of San Angelo on January 4, 2000 and included within
Chapter 12 of the Code of Ordinances for the City of San Angelo, be and the same is
hereby amended insofar as the property hereinafter set forth, and said ordinance generally
and the zoning map shall be amended insofar as the property hereinafter described: 318
North Bell Street, located on the northeast corner of the intersection of North Bell
Street and Spaulding Street. This property specifically occupies the Bell Addition,
Block 9, 2.35 acres in the southwest corner of Block 9, in north central San Angelo,
shall henceforth be permanently zoned as follows: Neighborhood Commercial (CN)
District.

The Director of Planning is hereby directed to correct zoning district maps in the office of the
Director of Planning, to reflect the herein described changes in zoning.

       SECTION 2: That in all other respects, the use of the hereinabove described
property shall be subject to all applicable regulations contained in Chapter 12 of the Code of
Ordinances for the City of San Angelo, as amended.
AN ORDINANCE AMENDING CHAPTER 12, EXHIBIT “A” OF THE CODE OF
       ORDINANCES, CITY OF SAN ANGELO, TEXAS, WHICH SAID EXHIBIT “A” OF
       CHAPTER 12 ADOPTS ZONING REGULATIONS, USE DISTRICTS AND A
       ZONING MAP, IN ACCORDANCE WITH A COMPREHENSIVE PLAN, BY
       CHANGING THE ZONING AND CLASSIFICATION OF THE FOLLOWING
       PROPERTY, TO WIT: 318 North Bell Street, located on the northeast corner
       of the intersection of North Bell Street and Spaulding Street. This property
       specifically occupies the Bell Addition, Block 9, 2.35 acres in the southwest
       corner of Block 9, in north central San Angelo, changing the zoning
       classification from Single-Family Residential (RS-1) to Neighborhood
       Commercial (CN) District; PROVIDING FOR SEVERABILITY AND PROVIDING
       A PENALTY

RE:    Z 13-03:       Tom Green County

        WHEREAS, the Planning Commission for the City of San Angelo and the governing
body for the City of San Angelo, in compliance with the charter and the state law with
reference to zoning regulations and a zoning map, have given requisite notice by publication
and otherwise, and after holding hearings and affording a full and fair hearing to all property
owners and persons interested, generally, and to persons situated in the affected area and
in the vicinity thereof, is of the opinion that zoning changes should be made as set out
herein; NOW THEREFORE,

BE IT ORDAINED BY THE CITY OF SAN ANGELO:

       SECTION 1: That the basic zoning ordinance for the City of San Angelo, as enacted
by the governing body for the City of San Angelo on January 4, 2000 and included within
Chapter 12 of the Code of Ordinances for the City of San Angelo, be and the same is
hereby amended insofar as the property hereinafter set forth, and said ordinance generally
and the zoning map shall be amended insofar as the property hereinafter described: 318
North Bell Street, located on the northeast corner of the intersection of North Bell
Street and Spaulding Street. This property specifically occupies the Bell Addition,
Block 9, 2.35 acres in the southwest corner of Block 9, in north central San Angelo,
shall henceforth be permanently zoned as follows: Neighborhood Commercial (CN)
District.

The Director of Planning is hereby directed to correct zoning district maps in the office of the
Director of Planning, to reflect the herein described changes in zoning.

       SECTION 2: That in all other respects, the use of the hereinabove described
property shall be subject to all applicable regulations contained in Chapter 12 of the Code of
Ordinances for the City of San Angelo, as amended.
SECTION 3: That the following severability clause is adopted with this amendment:

      SEVERABILITY:
      The terms and provisions of this Ordinance shall be deemed to be severable in that,
      if any portion of this Ordinance shall be declared to be invalid, the same shall not
      affect the validity of the other provisions of this Ordinance.

      SECTION 4: That the following penalty clause is adopted with this amendment:

      PENALTY:
      Any person who violates any provisions of this article shall be guilty of a
      misdemeanor and, upon conviction, shall be subject to a fine as provided for in
      Section 1.106 of the Code of Ordinances for the City of San Angelo. Each day of
      such violation shall constitute a separate offense.


INTRODUCED on the 19th day of February, 2013 and finally PASSED, APPROVED AND
ADOPTED on this the 5th day of March, 2013.


                                         THE CITY OF SAN ANGELO



                                            ____________________________________
                                            Alvin New, Mayor

ATTEST:



________________________________
Alicia Ramirez, City Clerk




Approved As To Content:                  Approved As To Form:


_________________________                ________________________
AJ Fawver, Planning Manager              Lysia H. Bowling, City Attorney
SECTION 3: That the following severability clause is adopted with this amendment:

      SEVERABILITY:
      The terms and provisions of this Ordinance shall be deemed to be severable in that,
      if any portion of this Ordinance shall be declared to be invalid, the same shall not
      affect the validity of the other provisions of this Ordinance.

      SECTION 4: That the following penalty clause is adopted with this amendment:

      PENALTY:
      Any person who violates any provisions of this article shall be guilty of a
      misdemeanor and, upon conviction, shall be subject to a fine as provided for in
      Section 1.106 of the Code of Ordinances for the City of San Angelo. Each day of
      such violation shall constitute a separate offense.


INTRODUCED on the 19th day of February, 2013 and finally PASSED, APPROVED AND
ADOPTED on this the 5th day of March, 2013.


                                         THE CITY OF SAN ANGELO



                                            ____________________________________
                                            Alvin New, Mayor

ATTEST:



________________________________
Alicia Ramirez, City Clerk




Approved As To Content:                  Approved As To Form:


_________________________                ________________________
AJ Fawver, Planning Manager              Lysia H. Bowling, City Attorney
City   of                  San
                                                 Angelo


Memo
 Meeting Date:   February 19, 2013

 To:             City Council members

 From:           Roxanne Johnston, Planner

 Subject:        Z 13-04 Abel Fernandez. A request for approval of a zone
                 change from Single-Family Residential (RS-1) to
                 Neighborhood Commercial (CN) to specifically allow for
                 commercial opportunities as allowed in CN zoning districts
                 on the following property:

 Location:       1006 East 14th Street, located approximately 170 feet from the
                 northeast intersection at East 14th Street and Wade Street. This
                 property specifically occupies the Exall Addition, Block 9, Lot 8
                 Exc. West 88.7’, in north central San Angelo.

 Purpose:        Approval or modification of this request by the Planning
                 Commission would forward that recommendation to City
                 Council for a final decision on the matter.

 Contacts:       Abel Fernandez, property owner                   325-482-0946
                 Roxanne Johnston, Planner                        325-657-4210

 Caption:        First Public Hearing and consideration of introduction of an
                 Ordinance amending Chapter 12, Exhibit “A” (Zoning
                 Ordinance) of the Code of Ordinances, City of San Angelo


                 Z 13-04: Abel Fernandez

                 AN ORDINANCE AMENDING CHAPTER 12, EXHIBIT
                 “A” OF THE CODE OF ORDINANCES, CITY OF SAN
                 ANGELO, TEXAS, WHICH SAID EXHIBIT “A” OF
                 CHAPTER 12 ADOPTS ZONING REGULATIONS, USE
                 DISTRICTS AND A ZONING MAP, IN ACCORDANCE
WITH A COMPREHENSIVE PLAN, BY CHANGING THE
                          ZONING AND CLASSIFICATION OF THE FOLLOWING
                          PROPERTY, TO WIT: 1006 East 14th Street, located
                          approximately 170 feet from the northeast intersection
                          at East 14th Street and Wade Street. This property
                          specifically occupies the Exall Addition, Block 9, Lot 8
                          Exc. West 88.7’, in north central San Angelo, changing
                          the zoning classification from a Single-Family
                          Residential (RS-1) to a Neighborhood Commercial
                          (CN) District; PROVIDING FOR SEVERABILITY AND
                          PROVIDING A PENALTY



Summary: The City Council may:

       (1) Approve this zone change request from RS-1 to RS-2 which would allow for
           “Household Living” as allowed in RS-2 zoning districts; or

       (2) Modify the application to some alternative zoning classification believed to
           be more appropriate; or


       (3) Deny this zoning request from RS-1 to RS-2.

Recommendation: City staff recommends approving the proposed zone change.

On January 28, 2013, the Planning Commission recommended approval of this request
by a unanimous vote of 5-0.


History and Background:

      General Information

            Existing Zoning:           Single-Family Residential (RS-1)

            Existing Land Use:         Vacant residential

            Surrounding Zoning/Land Use:

             North:                 RS-1          Single-Family Residential
             West:                  RS-1          Single-Family Residential
             South:                 RS-1          Single-Family Residential
             East:                  RS-1          Single-Family Residential
Thoroughfares/Streets:    East 14th Street is defined as a “collector
                          street” which provides direct access to
                          residential, commercial and other land
                          uses.

                          Wade Street is defined a "local street" and
                          is designed to carry light traffic at lower
                          speeds and generally connects to collector
                          streets.

                          East Main Street is defined as an “arterial
                          street” and is designed to connect collector
                          streets to freeways and other arterials
                          carrying large volumes of traffic at high
                          speeds. Access is secondary and mobility
                          is the primary function of these streets.

Zoning History:           Residential as early as 1939.

Applicable Regulations:   Allowed uses for this property can be
                          found in Section 310 (Use Table) of the
                          Zoning Ordinance.
                          .
                          Refer to off-street parking standards, per
                          Section 511.

                          Section 602.

                          “B. No nonconforming structure may be
                          enlarged, expanded or extended in such a
                          manner that it shall be made more
                          nonconforming…      A     non-conforming
                          structure may be enlarged expanded or
                          extended so long as the nonconforming
                          feature is not enlarged, expanded or
                          extended, thereby making the structure
                          more nonconforming.”



Development Standards:    Section 502. Nonresidential Development
                          Standards

                          Neighborhood Commercial (CN) requires a
                          25 feet front setback for commercial
                          structures. No side or rear setback are
                          required in commercial districts unless the
                          lot abuts a residential district or use, where
                          a minimum of 10 feet is required.
Section 504 of the Zoning Ordinance
                      covers outdoor storage and display. Aside
                      from Type 1 outdoor display, no other
                      outside storage is allowed here.

                      A.1. “Type 1 Outdoor Display shall be
                      allowed adjacent to a principal building
                      wall and extending to a distance no greater
                      than 5 feet from the wall. Such storage
                      shall not be permitted to block windows,
                      entrances or exits, and shall not impair the
                      ability of pedestrians to use the building.

                      E.1. “Unless specifically authorized
                      elsewhere… all outdoor storage and
                      display shall be located outside the public
                      right-of-way and/or at least 15 feet from
                      the back edge of the adjacent curb or
                      street pavement.

                      Section 509. Fences

                      A.1. “A privacy fence shall be required
                      where the side or rear lot line of a
                      nonresidential use is adjacent to either of
                      the following.

                             a. A residential district boundary
                             other than the R&E District.

                             b. An existing residential use.


Vision Plan Map:      Neighborhood Center & Neighborhood

Comp Plan Excerpts:   Within the Comprehensive Plan, Goal 3 of
                      “Neighborhoods” is to “improve the
                      relationship between adjacent commercial
                      and residential properties”.

                      “All residents within each neighborhood
                      boundary should be able to meet their
                      daily needs within a reasonable and
                      accessible     distance from their home.”

                      “Promote better transition between nearby
                      commercial and residential use of land and
                      buildings.”
“Establish transition     areas    between
                                       commercial      areas       and     nearby
                                       neighborhoods.”

                                       “Address issues related to the transition of
                                       older homes into offices, including parking
                                       and compatibility with surrounding areas.”

     Special Information

            Traffic Concerns:          Changing the zoning from residential to
                                       commercial use will generally add traffic to
                                       an area, but due to the small lot size and
                                       that CN is the least intensive of
                                       commercial zoning, potential businesses
                                       locating there will most likely yield little
                                       traffic than would more intensive uses.

            Parking Requirements:      Section 511 of the Zoning Ordinance
                                       covers parking standards; the requirement
                                       varies depending on the proposed
                                       usage(s). The requirement for a tax
                                       service establishment, for example, would
                                       be 1 space paved per 300ft2 gross floor
                                       area.

            Parking Provided:          It appears off-street parking opportunity is
                                       available on this lot; the number of spots
                                       will depend upon lot orientation and future
                                       building configuration.

            Density:                   This general area is of light to medium
                                       density residential with lower density
                                       businesses outside of the current RS-1
                                       zone. The zone change request complies
                                       with the Vision Plan, which calls for a
                                       continuation of the future development
                                       of this area as “Neighborhood Center."

            Notification Required:     Yes

            Notifications Sent:        13

            Responses in Favor:        0

            Responses in Opposition:   0

Analysis:
In order to approve this zone change request, the City Council members are first
required to consider the following criteria:

1. Compatible with Plans and Policies. Whether the proposed amendment is
   compatible with the Comprehensive Plan and any other land use policies adopted
   by the Planning Commission or City Council.

2. Consistent with Zoning Ordinance. Whether and the extent to which the
   proposed amendment would conflict with any portion of this Zoning Ordinance.

3. Compatible with Surrounding Area. Whether and the extent to which the
   proposed amendment is compatible with existing and proposed uses surrounding
   the subject land and is the appropriate zoning district for the land.

4. Changed Conditions. Whether and the extent to which there are changed
   conditions that require an amendment.

5. Effect on Natural Environment. Whether and the extent to which the proposed
   amendment would result in significant adverse impacts on the natural
   environment, including but not limited to water and air quality, noise, storm water
   management, wildlife, vegetation, wetlands and the practical functioning of the
   natural environment.

6. Community Need. Whether and the extent to which the proposed amendment
   addresses a demonstrated community need.

7. Development Patterns. Whether and the extent to which the proposed
   amendment would result in a logical and orderly pattern of urban development in
   the community.

The staff recommendation is based upon the statements listed below.

The subject property is located on the fringes of an older RS-1 zoning district
within 300 feet of North Main Street. The applicant is planning to operate a tax
service business from the property and seeks to repurpose a vacant house to do
so. Atmos Energy, a planned development, is located near the property to the
northeast. There are a variety of mixed uses and zoning to the east and
southeast of the subject property which include an assisted living and retirement
facilities. To the north, within walking distance of well under ½ a mile, are a
variety of businesses that support neighborhood services such as restaurants
and car repair shops. Near the same area to the north are more intense land
uses (CG/CH) that allow for heavy land use, such as junk yards; although
certainly not allowed on the subject property. In the future, the Vision Plan calls
for CG/CH zoning districts to be phased out.
In looking at this proposal, Planning Staff has found that a CN zoning district is
compatible with the plans and policies in place for the community and that the
zone change is consistent with the Zoning Ordinance. Staff feels this request is
compatible with and appropriate to the surrounding area. A CN zoning district lies
less than 35 feet from the southeastern section of the property. The Vision Plan
calls for about 1/3 of the subject property to the east to be zoned “Neighborhood
Center” with the remaining staying “Residential.” Due to the size of this property,
the nature of businesses that could locate there in the future are constricted by
the lot size and limited area for parking, so this property use will likely remain
smaller and less intensive in nature and would generate little traffic to the area.
Residential near CN zoning which allows lower intensity commercial
opportunities make sense; the plans and policies in place for the community
recognize this need for neighborhood serving businesses that a CN zoning
district will allow for. With the subject property's proximity to North Main Street to
the east, the area has already seen a variety of change.


The second possible challenge is that a portion of a neighboring residence is
located on the western side of subject property and is legally non-conforming as
it has been there since 2000. The proposed zone change would necessitate the
construction of an opaque fence between the residence to the west and
businesses located on the subject property. According to Section 502 of the
Zoning Ordinance, there can be no fewer than 10 feet between the proposed use
and a residence. There is currently a 4’ chain link fence between the building on
the subject property and the neighboring residence to the west.

Staff believes that the CN zoning in this area is compatible with the surrounding
area. As previously mentioned, the lower intensity commercial opportunities that
are allowed within this zoning district have high potential to be an asset to the
neighborhood in both the short and long term. While not all types of commercial
activities would be appropriate for this particular property, given the lot size and
proximity to the neighborhood and other lower intensity businesses, staff believes
some lower intensity neighborhood serving businesses would be a fit that is
compatible with the surrounding area. Since this particular zone change is in
harmony with the Comprehensive Plan, there is no need for an amendment to
the Comprehensive Plan to approve this request.

Staff does not believe the impact on the natural environment will be detrimentally
affected through the approval of this zone change. Staff is unable to find any
negative environmental consequences that will result from this zone change.
Given that semi-industrial uses are not allowed within CN zoning, the zone
change will not bring about the noises and odors often associated with a heavier
commercially zoned district. Staff also believes this zone change request has
potential to serve a community need in this particular area, even given the
example of the applicant’s desire to locate a tax service business there. Other
businesses that would be a fit for the same property include those of a
community services nature and a small new or used retail sales and services
business such as product repair, for example (since the property is relatively
small) to name just a few.

Staff finds that a CN zoning district on the subject property will create an orderly
development pattern that is consistent with the surrounding area. CG/CH, RS-2,
CG, and CN zoning currently borders the RS-1 properties. Staff feels anything
more intensive in this area has the potential to upset this balance and encroach
into a long standing neighborhood. This neighborhood has been zoned
residential since at least 1939 and has experienced, for the most part, a sensible
mix of zoning around it. Staff finds it necessary to protect and promote the
current and future growth of this neighborhood and the introduction of CN zoning
will allow this to occur while serving the needs of the residents of this
neighborhood both now and in the future. The goals of infill and walk-able
development are highly in line with the City's Comprehensive Plan and are in
harmony with the neighborhood. Lastly, it is possible that this development may
serve to aid in future area development.



Proposed Conditions

      N/A

Attachments:               excerpt from zoning map, showing the general location
                           within the City of San Angelo;

                           excerpt from      zoning   map,    highlighting   subject
                           property;

                           aerial photo, highlighting subject property;

                           excerpt from the Comprehensive Plan Vision Map
                           highlighting the subject property; and

                           draft minutes from January 28, 2013 Planning
                           Commission meeting; and

                           draft Ordinance

Presentation:              Roxanne Johnston, Planner


Reviewed by:               Jeff Hintz, Interim Senior Planner (01/21/13)
MINUTE RECORD OF THE CITY OF SAN ANGELO PLANNING COMMISSION
      MEETING HELD ON MONDAY, January 28, 2013 AT 9:00 AM IN THE SOUTH
      MEETING ROOM OF THE SAN ANGELO CONVENTION CENTER, 500 RIO CONCHO
      DRIVE, SAN ANGELO, TEXAS

PRESENT:      Joe Grimes, Bill Lawrence, Jennifer Boggs, Darlene Jones, Bill Wynne

ABSENT:       Sebastian Guerrero (AE), Sam Tambunga (AE)

      STAFF:          AJ Fawver, Planning Manager
                      Jeff Hintz, Planner
                      Kevin Boyd, Planner
                      Roxanne Johnston, Planner


     D. Z 13-04: Abel Fernandez

           A request for approval of a zone change from Single-Family Residential (RS-
           1) to Neighborhood Commercial (CN) to specifically allow for a tax service
           business as allowed in CN zoning districts on the following property:

           1006 East 14th Street, located approximately 170 feet from the northeast
           intersection at East 14th Street and Wade Street. This property specifically
           occupies the Exall Addition, Block 9, Lot 8 Exc. West 88.7’, in north central
           San Angelo.

     Roxanne Johnston, Planner, came forward to present this request, consistent
     with the staff recommendation of approval. Ms. Johnston noted that there were
     13 notifications sent out on this request, with 0 returned in favor or in opposition
     to the request. The subject property is a residential structure, which sits on the
     edge of a neighborhood and near Main Street, which has a mix of zoning district
     types. There are also some empty lots in this area. The eastern section of the
     subject property terminates at an alley bifurcating the neighborhood, creating a
     triangular shaped property. There is a single-family residential area in and
     around this location, and the residential usage of the area dates back to 1939.
     The subject property is located on the fringe of an RS-1 neighborhood. The
     desire is to have a tax service business at this location. There are several
     zoning districts within a 1/2 mile of this location. A CN zoning district would be
     compatible with the plans and policies of the city. She again referred to the
     need and appropriateness for a buffer between the mix of uses nearby and this
     large residential area. The concept of "neighborhood" is for low-impact
     business, of which this is one. CN is the least intensive type of commercial
     zoning. The small lot size does limit naturally the types of businesses which
     could locate on the lot. However, the scale of a neighborhood center would be
     appropriate. There is a CN zone currently in existence less than 35' from the
     subject property. The zone change does trigger placement of a 6' opaque
     privacy fence to screen from the residential area nearby. The request is
     consistent with the Vision Plan map as well as the city plans and criteria outlined
     in the Zoning Ordinance. Businesses that are allowed in CN allow small new or
     used retail sales or services, along with office usage. More intensive zoning
would potentially upset the balance and encroach into a large and long-
established neighborhood.

Darlene Jones asked if this business would strictly be a business or if it would
also be a residential use. It was responded that it would be allowed to be a
business only - this type of zoning would not allow residential living.

Jennifer Boggs also asked a couple of questions regarding the parking.
Fortunately, the floor-area ratio limit for this site would limit much of an additional
expansion, meaning that parking would not likely need to increase by more than
one space in the future.

The proponent, Abel Fernandez, came forward and spoke in favor of this
request. He stated that he does not currently have any employees.

Joe Grimes asked if the stipulations that were required were fine with the
applicant. Mr. Fernandez expressed his acceptance of the requirements.

No one else came forward to speak on this request.

Motion, to approve as presented, was made by Darlene Jones and seconded by
Joe Grimes. The motion passed unanimously, 5-0.
AN ORDINANCE AMENDING CHAPTER 12, EXHIBIT “A” OF THE CODE OF
       ORDINANCES, CITY OF SAN ANGELO, TEXAS, WHICH SAID EXHIBIT “A” OF
       CHAPTER 12 ADOPTS ZONING REGULATIONS, USE DISTRICTS AND A
       ZONING MAP, IN ACCORDANCE WITH A COMPREHENSIVE PLAN, BY
       CHANGING THE ZONING AND CLASSIFICATION OF THE FOLLOWING
       PROPERTY, TO WIT: 1006 East 14th Street, located approximately 170 feet
       from the northeast intersection at East 14th Street and Wade Street. This
       property specifically occupies the Exall Addition, Block 9, Lot 8 Exc. West
       88.7’, in north central San Angelo; changing the zoning classification from
       a Single-Family Residential (RS-1) to a Neighborhood Commercial (CN)
       District; PROVIDING FOR SEVERABILITY AND PROVIDING A PENALTY

RE:    Z 13-04: Abel Fernandez

        WHEREAS, the Planning Commission for the City of San Angelo and the governing
body for the City of San Angelo, in compliance with the charter and the state law with
reference to zoning regulations and a zoning map, have given requisite notice by publication
and otherwise, and after holding hearings and affording a full and fair hearing to all property
owners and persons interested, generally, and to persons situated in the affected area and
in the vicinity thereof, is of the opinion that zoning changes should be made as set out
herein; NOW THEREFORE,

BE IT ORDAINED BY THE CITY OF SAN ANGELO:

       SECTION 1: That the basic zoning ordinance for the City of San Angelo, as enacted
by the governing body for the City of San Angelo on January 4, 2000 and included within
Chapter 12 of the Code of Ordinances for the City of San Angelo, be and the same is
hereby amended insofar as the property hereinafter set forth, and said ordinance generally
and the zoning map shall be amended insofar as the property hereinafter described: 2008
Beacon Street, located on the northeast corner of the intersection of Beacon Street and
Montague Avenue. This property specifically occupies the Avondale Addition, Block 10,
Lots 15-20, in central San Angelo; shall henceforth be permanently zoned as follows:
Neighborhood Commercial (CN) District.

The Director of Planning is hereby directed to correct zoning district maps in the office of the
Director of Planning, to reflect the herein described changes in zoning.

       SECTION 2: That in all other respects, the use of the hereinabove described
property shall be subject to all applicable regulations contained in Chapter 12 of the Code of
Ordinances for the City of San Angelo, as amended.

       SECTION 3: That the following severability clause is adopted with this amendment:

       SEVERABILITY:
The terms and provisions of this Ordinance shall be deemed to be severable in that,
      if any portion of this Ordinance shall be declared to be invalid, the same shall not
      affect the validity of the other provisions of this Ordinance.

      SECTION 4: That the following penalty clause is adopted with this amendment:

      PENALTY:
      Any person who violates any provisions of this article shall be guilty of a
      misdemeanor and, upon conviction, shall be subject to a fine as provided for in
      Section 1.106 of the Code of Ordinances for the City of San Angelo. Each day of
      such violation shall constitute a separate offense.


INTRODUCED on the 19 day of February, 2013 and finally PASSED, APPROVED AND
ADOPTED on this the 5th day of March, 2013.


                                         THE CITY OF SAN ANGELO




                                            ____________________________________
                                            Alvin New, Mayor

ATTEST:




________________________________
Alicia Ramirez, City Clerk




Approved As To Content:                  Approved As To Form:


_________________________                ________________________
AJ Fawver, Planning Manager              Lysia H. Bowling, City Attorney
City of San Angelo



Memo
 Meeting Date:   March 5, 2013

 To:             City Council members

 From:           Kevin Boyd, Planner

 Subject:        Z 13-06: City of San Angelo Development Corporation, a request for a
                 zone change from Light Manufacturing (ML) to Heavy Manufacturing
                 (MH) to allow for activities allowed within MH zoning districts, on the
                 following property:

 Location:       1020, 1030, & 1040 Gateway Drive, located east of the intersection of
                 Gateway Drive and FM 380; more specially occupying the Gateway
                 Addition, Section 1, Block 3, Lots 1 and 2 and Tract A, in Section 1
                 being a 20.059 acres, in northeast San Angelo.

 Purpose:        Approval of this request would zone the property Heavy
                 Manufacturing (MH).

 Contacts:       COSA Development Corporation, owner                      325-653-7197
                 Kevin Boyd, Planner                                      325-657-4210

 Caption:        First Public Hearing and consideration of introduction of an Ordinance
                 amending Chapter 12, Exhibit “A” (Zoning Ordinance) of the Code of
                 Ordinances, City of San Angelo

                 Z 13-06: City of San Angelo Development Corporation

                 AN ORDINANCE AMENDING CHAPTER 12, EXHIBIT “A” OF THE CODE
                 OF ORDINANCES, CITY OF SAN ANGELO, TEXAS, WHICH SAID
                 EXHIBIT “A” OF CHAPTER 12 ADOPTS ZONING REGULATIONS, USE
                 DISTRICTS AND A ZONING MAP, IN ACCORDANCE WITH A
                 COMPREHENSIVE PLAN, BY CHANGING THE ZONING AND
                 CLASSIFICATION OF THE FOLLOWING PROPERTY, TO WIT: 1020,
                 1030, & 1040 Gateway Drive, located east of the intersection of Gateway
                 Drive and FM 380; more specially occupying the Gateway Addition,
                 Section 1, Block 3, Lots 1 and 2 and Tract A, in Section 1 being a 20.059
                 acres, in northeast San Angelo, changing the zoning classification from
Light Manufacturing (ML) to Heavy Manufacturing (MH) District;
                        PROVIDING FOR SEVERABILITY AND PROVIDING A PENALTY

     Summary: The City Council may:

       (1) Approve the proposed zone change as requested; or

       (2) Remand the application back to Planning Commission for further discussion, in
           which case another public hearing will need to be scheduled; or

       (3) Deny the proposed zone change.


     Recommendation:           Planning staff recommends approving the proposed zone
     change.


History and Background:

     General Information

          Existing Zoning:              Light Manufacturing (ML)

          Existing Land Use:            Undeveloped land

          Surrounding Zoning/Land Use:

           North:              Light Manufacturing (ML)    Angelo Achieves
           West:               Light Manufacturing (ML)    Undeveloped land
           South:              Unincorporated              Undeveloped land
           East:               Light Manufacturing (ML)    Undeveloped land

          Thoroughfares/Streets:        FM 380 is classified as an ‘arterial street’ which is
                                        designed to be a major thoroughfare that carries
                                        heavy traffic to points of interest throughout the
                                        city.

                                        Gateway Drive is classified as a "local street" and
                                        is designed to carry light traffic at lower speeds
                                        and generally connects to collector streets.

          Zoning History:               The property was annexed into the city in
                                        November 1997 and later rezoned to Light
                                        Manufacturing (ML) in December 1997, refer to
                                        case Z 97-51.


                                               2
Applicable Regulations:   316.B.1 of the Zoning Ordinance states, ..."If the
                               uses routinely subject the surrounding area to
                               noxious or malodorous impacts, they are
                               considered heavy manufacturing and production.."

     Development Standards:    All required off-street parking and the
                               connection(s) to a public right-of-way are required
                               to be paved.

     Vision Plan Map:          Industrial

     Related Comp Plan Excerpts:       Intent of Industrial in the Comprehensive
                                       Plan is to, “[dedicate areas for] supporting the
                                       local economy while mitigating some of their
                                       potentially undesirable secondary effects on
                                       nearby residences.”

                                       Industrial section goal one of the
                                       Comprehensive Plan is to "Organize LULUs
                                       (Locally Undesirable Land Uses) into
                                       clusters." The purpose of this goal is to:
                                       "Cluster potentially hazardous industries into
                                       a limited number (given the size of San
                                       Angelo) of larger, isolated areas will minimize
                                       negative effects on residential areas, while
                                       balancing access to these businesses within
                                       the region, rather than putting all of them into
                                       one location."


Special Information

     Traffic Concerns:         Changing the zoning to a more intensive industrial
                               district has the potential to generate additional
                               traffic than if the property remained as-is.
                               However, given the limited number of visitors to
                               industrial zoned properties, and ease of access to
                               the highway for transport, staff is not concerned
                               with the development of this property as heavy
                               industrial.

     Parking Requirements:     Vary depending upon the use of the property, see
                               Section 511.

     Parking Provided:         Currently, no parking exist on the site, though it is
                               a sizable tract.



                                      3
Density:                   Predominantly large tracts of undeveloped land in
                                       the surrounding areas. The Vision Plan also calls
                                       for a continuation of the future development of this
                                       area as Industrial, creating an industrial hub.

            Notification Required:     Yes

            Notifications Sent:        1

            Responses in Favor:        0

            Responses in Opposition:   1




Analysis:

     In order to approve this zone change request, the Planning Commission members are
     first required to consider the following criteria:

     1. Compatible with Plans and Policies. Whether the proposed amendment is compatible
        with the Comprehensive Plan and any other land use policies adopted by the Planning
        Commission or City Council.

     2. Consistent with Zoning Ordinance. Whether and the extent to which the proposed
        amendment would conflict with any portion of this Zoning Ordinance.

     3. Compatible with Surrounding Area. Whether and the extent to which the proposed
        amendment is compatible with existing and proposed uses surrounding the subject land
        and is the appropriate zoning district for the land.

     4. Changed Conditions. Whether and the extent to which there are changed conditions
        that require an amendment.

     5. Effect on Natural Environment. Whether and the extent to which the proposed
        amendment would result in significant adverse impacts on the natural environment,
        including but not limited to water and air quality, noise, storm water management,
        wildlife, vegetation, wetlands and the practical functioning of the natural environment.

     6. Community Need. Whether and the extent to which the proposed amendment
        addresses a demonstrated community need.



                                              4
7. Development Patterns. Whether and the extent to which the proposed amendment
   would result in a logical and orderly pattern of urban development in the community.

The staff recommendation is based upon the statements listed below.

The zone change request was initiated in an effort to market the properties to various
industrial opportunities. The 89 acre tract consists of three adjacent properties zoned
Light Manufacturing (ML), and are part of the City’s Business and Industrial Center –
located in the northeast part of town. Generally speaking, the proposal for Heavy
Manufacturing (MH) will allow for the most intense and noxious possible within the city
limits. Given the extreme nature of allowed uses, careful consideration was given in
formulating this recommendation. The Vision Plan envisions the subject property, and
areas to the north, east and west to remain 'industrial'. Industrial allows for clustering
potentially hazardous industries into limited, isolated parts of the city. Although portions
to the south calls for neighborhood development, no residences currently exist along
FM 280 or anywhere within 3/4 of a mile of the site. This particular property is isolated
from the surrounding area through the large tracts of land in the area. Loud noises and
the occasional odd smells that may potentially be emitted from property are not likely to
bother neighboring properties, given their distance from the site. After carefully
assessing the factors to the proposal for a zone change, staff has determined that such
a location would be appropriate for intense uses, for this and other reasons articulated
below.

A zone change from ML to MH is an appropriate transition given the location of the site.
In some respect, the two zoning districts are similar in terms of allowed uses. One
exception is that MH provides opportunities for heavy processing and manufacturing
that is inherently noxious and dangerous due to the chemicals or processes involved.
Other uses allowed in MH zoning include warehouse and freight movement, wholesale
trade, heavy manufacturing and production and fabrication of wearing apparel including
boots and shoes, and mining and waste-related uses as conditional uses. Since the site
is several miles from populated areas, noxious sounds and odors will likely go unnoticed
by a vast majority of people who visit and live within San Angelo.

This request for MH zoning is compatible with much of the surrounding area. The land
surrounding the site remains largely undeveloped and varies from open plains to a mix
of light to heavy brush. Two noticeable nearby structures are Angelo Achieves, which
occupies the property directly to the north, and a vacant distribution center at the
intersection of North Loop 306 Frontage and Venture Drive. In November 2012, City
Council approved a request for a "Major Entertainment Event" to temporarily develop a
tract on the properties immediately north of the subject property, for the Lucas Oil Track.
No other structures exist within 1/2 a mile of the site. The fact that the site is in one of
the most isolated and undeveloped areas allows COSADC opportunities to develop the
site for the most intensive uses, with the least potential impacts.



                                         5
As referenced above, ML and MH zoning districts are very similar. The exception is that
MH zoning allows for greater flexibility in the intent as it relates to intensity and the level
of noxious uses allowed. Heavy manufacturing and production, for example, is allowed
in MH zoning. In ML districts, no vibrations can be produced which are transmitted
through the ground at any point beyond the lot line. There are also measures to reduce
noise and emission of airborne particles. Conceivably, with a more intense MH zoning,
these uses would be allowed, subject to applicable state and federal environmental
regulations in regards to environmental quality.

Depending on the intensity of the use, the transition may have an effect on the natural
environment. Staff believes that efforts to cluster these high intense uses into a few
isolated areas follows the goal of the Comprehensive Plan, and diminishes potential for
any unforeseen negative impacts. A zoning of this intensity would not normally be
appropriate near areas identified as ‘Neighborhood’ but it has, for some time, been
planned and dedicated for intense industrial uses (for many of the reasons mentioned
above), staffs feels the proposed zoning is appropriate. The site measures over 2,300
feet from any significant water feature – the nearest is the Concho River, which flow
west to east into the O.H. Ivie Reservoir (away from the city). Due to isolation of this
property and the area in general, staff is confident that there will be a suitable buffer
from residential development.

The community needs zoning districts that are this intense in nature to be isolated from
residences and highly trafficked areas. Few people will ever see the outdoor storage
that is possible in this zoning district, and those who are subjected to it are not
residences but rather industrial users of property themselves. The Comprehensive Plan
seeks to buffer residences from the tendency of industry to have outdoor storage of
materials and goods. The request is consistent with aspects of the Vision Plan and as
such, will not require amendment to the plan.

In the manufacturing and production field, materials and freight need quick access to
highways for transport to other locations. There are not many areas in the city that are
isolated from residences and that provide for quick access to a highway, which is vital in
the manufacturing field. North Loop 306, a freeway, measures less than 1/3 of a mile, to
the west of the site. Still, given its short distance from the Loop – it is somewhat
removed from the thoroughfare (separated by a 55 acre tract zoned for ML) and is an
ideal fit for the most noxious of uses, which shields potential effects from passing
motorists along the freeway. The request also offers a nice transition of permissible
uses (ML zoning between the highway and the proposed MH district), in that regard.
The property is near the edge of the city-limits – positioned nearly 2,000 feet to the east
of the boundary – which allows for easy access to routes that led outside of the city.
Quick access to the highway system, while not abutting highly trafficked residential or
commercial thoroughfares, makes this one of the safest locations within the city limits to
locate heavy industries.



                                           6
Proposed Conditions

     N/A



Attachments:          Excerpt from zoning map, showing the general location within
                      the City of San Angelo;

                      Excerpt from zoning map, highlighting subject property;

                      Aerial photo, highlighting subject property;

                      Excerpt from the comprehensive plan vision map highlighting
                      the subject property;

                      Excerpt of the favor/opposition notification map;

                      Citizen Response;

                      Draft minutes from 02/18/13 Planning Commission meeting;
                      and

                      Draft Ordinance.



Presentation:         Kevin Boyd, Planner

Reviewed by:          Jeff Hintz, Interim Senior Planner (02/11/13)




                                   7
9
10
11
12
D. Z 13-06: City of San Angelo Development Corporation

   A request for approval of a zone change from Light Manufacturing (ML) to Heavy
   Manufacturing (MH) to allow for activities allowed within MH zoning districts, on
   the following property:

   1020, 1030, & 1040 Gateway Drive, located east of the intersection of Gateway
   Drive and FM 380; more specially occupying the Gateway Addition, Section 1,
   Block 3, Lots 1 and 2 and Tract A, in Section 1 being a 20.059 acres, in northeast
   San Angelo.

Kevin Boyd, Planner, came forward to present this request, consistent with the staff
recommendation of approval. One notification was required to be sent, and one was
received in opposition to the request. Mr. Boyd described the subject property and
its general location in the city. Mr. Boyd explained that the rquest complies with the
Vision Plan Map, which calls for "Industrial" at this location. The Economic
Development Staff, working as representatives for the San Angelo Development
Corporation, made this request because they are looking to diversify the offerings of
the Industrial Park. MH zoning is very similar to the current ML zoning, but the
section being considered for this change is very remote (not highway frontage), and
allows more flexibility and higher intensity. This is one of the most isolated and
undeveloped parts of the city, and it would allow opportunities to develop as
originally intended, far removed from neighborhoods and commercial corridors. Mr.
Boyd explained that another rationale for approval is the fact that the property being
proposed is not within the direct line of site

Bob Schneeman, the Interim Director of Economic Development, came forward to
speak in favor of this request. The infrastructure improvements in this area were
done in 2004, but little interest has so far been seen for developing the area. The
influx of oilfield-related activity prompted Economic Development and COSADC to
re-examine the allowed uses at this site in order to better bring activity to it - as
initially intended. There are a significant amount of deed restrictions on the property
in addition to the zoning. Those could not be changed without approval of the
property owners, and there is a design committee that oversees all development
within the Industrial Park. They are willing to work with the property owner who
wrote in as opposition, to skirt their property and to site operations appropriately.
There has been interest from some businesses about locating in this park. Mr.
Schneeman also expressed that there is some natural buffering due to a rather large
drainage easement that would prohibit buildings to be placed within it. In addition,
there are plans for a street to be extended to the east, which would also create a
buffer to the owner in opposition. As such, mitigation of negative impacts should be
greatly reduced as opposed to most properties. Mr. Schneeman outlined some of
the deed restrictions that are in place, prohibiting things such as feed lots, rendering
plants, height restrictions (cell towers, for example), among other things.

There was some additional discussion of the potential uses allowed in MH districts
and the specific use standards of ML districts that are different from MH district
regulations. There was also a question of utilizing a "buffer zone" for this business,
but staff reminded the Commission that zoning changes cannot carry conditions with
them.

There were several questions asked of staff regarding the potential for future uses at
this location.

John Dugan, with the Chamber of Commerce, came forward to speak in favor of this
request, stating that there were several types of interests in this location that would
not work under the current zoning. This would make the property more attractive.

No one else came forward to speak in favor of this request.

HR Wardlaw came forward to speak in opposition to this request, stating that the
neighbor in this area needed to be "made whole" and that endangering this particular
property owner was not the correct approach. He also stated that the original intent
of the park was to function as an office park. He asked the Commission to keep the
zoning as it is today.

Bill Wynne stated that the nearby business's issues could potentially be handled via
an air conditioning system. Jennifer Boggs discussed that the discussions about the
potential legal ramifications (privately) were not the responsibility of the Commission
members to oversee and handle/enforce. Joe Grimes explained that the Chamber,
COSADC, Eco Dev, exist to bring in revenue to the city and market it in a way that
brings industry into town rather than pushing it out into Tom Green County. Bill
Lawrence considered the fact that, to have this industry somewhere in San Angelo, it
should be considered where the most appropriate place is in the city. Bill Lawrence
also suggested that replatting could change the boundaries, and staff agreed that it
would, but that it would have to precede any change of zoning.

Motion, to approve, was made by Bill Wynne and seconded by Joe Grimes. The
motion passed by a motion of 4-1, with Darlene Jones in opposition to the change.
AN ORDINANCE AMENDING CHAPTER 12, EXHIBIT “A” OF THE CODE OF
       ORDINANCES, CITY OF SAN ANGELO, TEXAS, WHICH SAID EXHIBIT “A” OF
       CHAPTER 12 ADOPTS ZONING REGULATIONS, USE DISTRICTS AND A
       ZONING MAP, IN ACCORDANCE WITH A COMPREHENSIVE PLAN, BY
       CHANGING THE ZONING AND CLASSIFICATION OF THE FOLLOWING
       PROPERTY, TO WIT: 1020, 1030, & 1040 Gateway Drive, located east of the
       intersection of Gateway Drive and FM 380; more specially occupying the
       Gateway Addition, Section 1, Block 3, Lots 1 and 2 and Tract A, in Section 1
       being a 20.059 acres, in northeast San Angelo, changing the zoning
       classification from Light Manufacturing (ML) to Heavy Manufacturing (MH)
       District; PROVIDING FOR SEVERABILITY AND PROVIDING A PENALTY

RE:    Z 13-06:       City of San Angelo Development Corporation

        WHEREAS, the Planning Commission for the City of San Angelo and the governing
body for the City of San Angelo, in compliance with the charter and the state law with
reference to zoning regulations and a zoning map, have given requisite notice by publication
and otherwise, and after holding hearings and affording a full and fair hearing to all property
owners and persons interested, generally, and to persons situated in the affected area and
in the vicinity thereof, is of the opinion that zoning changes should be made as set out
herein; NOW THEREFORE,

BE IT ORDAINED BY THE CITY OF SAN ANGELO:

       SECTION 1: That the basic zoning ordinance for the City of San Angelo, as enacted
by the governing body for the City of San Angelo on January 4, 2000 and included within
Chapter 12 of the Code of Ordinances for the City of San Angelo, be and the same is
hereby amended insofar as the property hereinafter set forth, and said ordinance generally
and the zoning map shall be amended insofar as the property hereinafter described: 1020,
1030, & 1040 Gateway Drive, located east of the intersection of Gateway Drive and FM
380; more specially occupying the Gateway Addition, Section 1, Block 3, Lots 1 and 2
and Tract A, in Section 1 being a 20.059 acres, in northeast San Angelo, shall
henceforth be permanently zoned as follows: Heavy Manufacturing (MH) District.

The Director of Planning is hereby directed to correct zoning district maps in the office of the
Director of Planning, to reflect the herein described changes in zoning.

       SECTION 2: That in all other respects, the use of the hereinabove described
property shall be subject to all applicable regulations contained in Chapter 12 of the Code of
Ordinances for the City of San Angelo, as amended.

       SECTION 3: That the following severability clause is adopted with this amendment:
SEVERABILITY:
      The terms and provisions of this Ordinance shall be deemed to be severable in that,
      if any portion of this Ordinance shall be declared to be invalid, the same shall not
      affect the validity of the other provisions of this Ordinance.

      SECTION 4: That the following penalty clause is adopted with this amendment:

      PENALTY:
      Any person who violates any provisions of this article shall be guilty of a
      misdemeanor and, upon conviction, shall be subject to a fine as provided for in
      Section 1.106 of the Code of Ordinances for the City of San Angelo. Each day of
      such violation shall constitute a separate offense.


INTRODUCED on the 5th day of March, 2013 and finally PASSED, APPROVED AND
ADOPTED on this the 19th day of March, 2013.


                                         THE CITY OF SAN ANGELO



                                            ____________________________________
                                            Alvin New, Mayor

ATTEST:



________________________________
Alicia Ramirez, City Clerk




Approved As To Content:                  Approved As To Form:


_________________________                ________________________
AJ Fawver, Planning Manager              Lysia H. Bowling, City Attorney
City of San
                                                         Angelo


Memo
 Meeting Date:   February 20, 2013

 To:             City Council members

 From:           Roxanne Johnston, Planner

 Subject:        Z 13-07: COSA Planning
                 A request for approval of a zone change from a Planned
                 Development (PD) zoning district to Single-Family
                 Residential (RS-1) to specifically allow for “Household
                 Living” as defined in Section 310 of the Zoning Ordinance on
                 the following property:

 Location:       An unaddressed tract of land located at the southwest end
                 of Twin Mountain Drive. This property specifically occupies
                 approximately 24 acres of the G. Maurer Survey 0182,
                 Abstract 1649, west of Sections One-A and One-B of The
                 Homestead, in southwest San Angelo.

 Purpose:        Approval of this request would zone the property RS-1


 Contacts:       Roxanne Johnston, Planner                       325-657-4210


 Caption:        First Public Hearing and consideration of introduction of an
                 Ordinance amending Chapter 12, Exhibit “A” (Zoning
                 Ordinance) of the Code of Ordinances, City of San Angelo

                 Z 13-07: COSA Planning

                 AN ORDINANCE AMENDING CHAPTER 12, EXHIBIT “A”
                 OF THE CODE OF ORDINANCES, CITY OF SAN
                 ANGELO, TEXAS, WHICH SAID EXHIBIT “A” OF
                 CHAPTER 12 ADOPTS ZONING REGULATIONS, USE
                 DISTRICTS AND A ZONING MAP, IN ACCORDANCE
WITH A COMPREHENSIVE PLAN, BY CHANGING THE
                    ZONING AND CLASSIFICATION OF THE FOLLOWING
                    PROPERTY, TO WIT: An unaddressed tract of land
                    located at the southwest end of Twin Mountain Drive.
                    This property specifically occupies approximately 24
                    acres of the G. Maurer Survey 0182, Abstract 1649, west
                    of Sections One-A and One-B of The Homestead, in
                    southwest San Angelo, changing the zoning
                    classification from a Planned Development (PD) to a
                    Single Family Residential (RS-1) District; PROVIDING
                    FOR SEVERABILITY AND PROVIDING A PENALTY



Summary: The City Council may:

(1) Approve this zone change request from PD to RS-1 which would allow for
    “Household Living” as allowed in RS-1 zoning districts; or

(2) Remand the application back to Planning Commission for further discussion,
    in which case another public hearing will need to be scheduled; or

(3) Deny this zoning request from PD to RS-1.

Recommendation:          Planning staff recommends approving the proposed
Zone Change.

On February 18, 2013, the Planning Commission recommended approval of
this request by a unanimous vote of 5-0.


History and Background:
PD 06-01 was approved by City Council on June 20, 2006, which
encompassed this property and others that have since been rezoned to
RS-1 on January 17, 2012 (cases Z11-23 & Z11-24). This Planned
Development called for several community areas and single family
residences that must generally conform to an RS-1 (Single Family
Residential) District. The original developer of this PD has since gone out
of business and the property has reverted back to the bank and then was
recently sold to a private buyer.

The subject property is the last remaining section of this Planned
Development District. Originally, a clubhouse, pool, and other private
amenities were proposed to go along with the 118 single family home
sites within this area and even more sites beyond. The intent was for it to
function as a gated community. Once the developer went through the
bankruptcy process, First Financial Bank took control of the properties in
this area which had been under that developer's ownership. In December
of 2011 the Planning Commission approved a zone change on adjacent
properties making up this Planned Development, resulting in a Single
Family Residential (RS-1) zoning district.

The bank did not wish to pursue a clubhouse and other amenities on the
subject property and the homeowners association is defunct, so staff
believes a RS-1 zoning classification gives future developers the best
opportunity to make use of the property at the highest and best use.


General Information

      Existing Zoning:            Planned Development (PD)

      Existing Land Use:          Vacant property

      Surrounding Zoning/Land Use:

       North:            RM-1               undeveloped property
       West:             R & E;             undeveloped property
                         County
       South:            R&E                undeveloped property
       East:             RS-1               undeveloped property, vacant lots
                                            & residences

      Thoroughfares/Streets:      Twin Mountain Drive is defined as an
                                  “arterial” street which is designed to
                                  connect collector streets to freeways and
                                  carries large volumes of traffic at high
                                  speeds. Access is secondary and mobility
                                  is the prime function of these streets.

      Zoning History:             The area was annexed into the City in April
                                  of 2006. PD 06-01 was established June
                                  20, 2006. This land was previously zoned
                                  Ranch & Estate (R & E).


      Applicable Regulations:     Section 212.A.2.d.
                                  “An application for an amendment of the
                                  Official Zoning Map…shall only be filed by…
                                  the Planning Director, acting in his/her
                                  capacity as technical advisor to the Planning
                                  Commission.”

      Development Standards:      Zoning Ordinance Section 501.A.
                                  Minimum Lot Area – 5,000 sq ft
Minimum Lot Dimensions – 50x100
                              Minimum Front Yard – 25 ft
                              Minimum Side Yard – 5 ft
                              Minimum Rear Yard – 20 ft
                              Maximum Floor Area Ratio – 0.4 (40%)
                              Maximum Height – 35 ft

     Vision Plan Map:         Neighborhood


Special Information

     Traffic Concerns:        There are currently no traffic concerns as
                              this area has not been developed and has
                              no “local” streets. Twin Mountain Drive
                              currently ends at the northeast section of
                              the subject property. Once the northern
                              section of the property is developed, Twin
                              Mountain Drive is projected to lie along the
                              northern boundary of the subject property
                              and will be an arterial which will connect
                              with Sherwood Way to the northwest.

                              The impact of future local streets will be
                              determined as the area is subdivided and
                              plans are submitted to the Planning
                              Division for approval. The property
                              experiences a variety of terrain, elevation,
                              and washes that will certainly be impacted
                              by any development.

     Parking Requirements:    Zoning Ordinance Section 511.B.
                              Two off-street parking spaces are required
                              for each single-family residence.

                              Section 511.D.1.
                              “All required off-street parking spaces shall
                              be located on the same lot or tract of land as
                              the building and/or activity they are intended
                              to serve”

                              Section 511.F.3.
                              “All areas used for required off-street parking
                              shall be paved”

     Density:                 The property is currently undeveloped with
                              no internal street access. Low density
                              residential property lies to the north and east.

     Notification Required:   Yes
Notifications Sent:             13

            Responses in Favor:             2

            Responses in Opposition:        0


Analysis:

     In order to approve this Zone change request, City Council members are first
     required to consider the following criteria:


     1. Compatible with Plans and Policies. Whether the proposed amendment is compatible
        with the Comprehensive Plan and any other land use policies adopted by the Planning
        Commission or City Council.

     2. Consistent with Zoning Ordinance. Whether and the extent to which the proposed
        amendment would conflict with any portion of this Zoning Ordinance.

     3. Compatible with Surrounding Area. Whether and the extent to which the proposed
        amendment is compatible with existing and proposed uses surrounding the subject land
        and is the appropriate zoning district for the land.

     4. Changed Conditions. Whether and the extent to which there are changed conditions
        that require an amendment.

     5. Effect on Natural Environment. Whether and the extent to which the proposed
        amendment would result in significant adverse impacts on the natural environment,
        including but not limited to water and air quality, noise, storm water management, wildlife,
        vegetation, wetlands and the practical functioning of the natural environment.

     6. Community Need. Whether and the extent to which the proposed amendment
        addresses a demonstrated community need.

     7. Development Patterns. Whether and the extent to which the proposed amendment
        would result in a logical and orderly pattern of urban development in the community.

     The staff recommendation is based upon the statements listed below.


            Given the history of this property stated above whereby the original
            developer went out of business, a zone change to Single Family
            Residential would better fall in line with the plans, policies and Zoning
            Ordinance adopted by the Planning Commission and City Council. There
            are several reasons for this to hold true.

            To begin with, there is currently no financial backing to ensure the
            development of the several community buildings and open spaces
originally planned for in the Planned Development (PD) would occur.
Either way, the development standards for both categories of residential
zoning (PD and RS-1) are very similar. Section 306.B.2 of the Zoning
Ordinance states, ”It is intended that PD Districts conform as closely as
possible to established zoning and subdivision regulations…” Both zoning
districts (the PD currently in place and the proposed RS-1rezone) require
the same setback and height requirements as well as signage,
landscaping and off-street parking.

By doing nothing to the zoning, the property is not as consistent with
surrounding zoning as it would be if it were rezoned to RS-1. Future
developers may have a hard time developing since this is currently a
remnant from the original PD.

A requirement of any PD is that the original plans approved as a condition
of the PD be adhered to and any changes would require a review. Section
210.H.1 of the Zoning Ordinance states, “No building permit may be
issued and no construction or development requiring a building permit and
situated within a PD District may commence unless a site plan has been
approved for that phase of the project that is consistent with the approved
concept plan. A site plan that is not consistent with the approved concept
plan and specific PD District ordinance shall not be approved.” These
statements illustrates that conditions of the PD must be met. This is
virtually impossible now given the changed circumstances now that the
PD no longer exists in its entirety, so current zoning creates a special
circumstance that could keep the area from developing and could make
land transactions less attractive to prospective buyers who would want to
create their own plans. These developers may not wish to contribute to the
required common areas as originally envisioned when the development
was first conceived.

Staff feels that a zone change would continue to be in line with the
Comprehensive Plan’s Vision map which calls for neighborhood in this
area. Additionally, staff feels that a zone change continues to address
community need, as it does under the current zoning, for creating
residential opportunities here. As such, an amendment to the Vision Plan
would not be required with this particular request.

Although the original PD plan encompassed a large section beyond the
subject property, it theoretically would have ensured more consistency
with regard to building, street, and general layout design and design
concepts than a usual RS-1 zone would. As previously mentioned, the
development standards would not change as a result of a zone change.
Therefore, one could argue that there can now be a mix of development
concepts in the area which could allow for more diverse home stock. So
far the development that has occurred since the recent zone changes to
surrounding the property has yielded in thoughtful and consistent
    development patterns, which is what the Zoning Ordinance seeks to
    create.

    It is possible, too, that new development patterns on the subject property
    could actually result in fewer residential lots than originally planned. For
    example, it is conceivable that a land-owner of the subject property would
    wish to keep the property in its natural state. Again, any development
    occurring within the proposed zoning district would be required to adhere
    to RS-1 development standards, so there is no chance of over-developing
    the subject property. This would also ensure consistent development
    patterns as directed in Criteria 7. Furthermore, Criteria 2 would be met
    because an amendment here would be consistent with the Zoning
    Ordinance. It would also be compatible with surrounding zoning and
    therefore meets the objective of Criteria 3.

    In addressing environmental impacts resulting from this rezoning; second
    only to Ranch & Estate zoning districts (R&E), RS-1 creates the least use
    demand on the property. Whereas no heavier use zoning is planned for
    this area in the Vision Plan, any development or future subdivisions will
    most likely be reviewed by the City to ensure that environmental impacts
    are minimized. Also, until plans are made for the vacant property, it would
    not be possible to forecast the direct environmental impacts on this
    property that enjoys a variety of open space, gullies and topographic
    changes. With either zoning (PD or RS-1), this uncertainty would remain
    the same.

    To summarize, staff feels a zone change from PD to RS-1 on the subject
    property meets with all of the above criteria which include conformity with
    the Zoning Ordinance, plans and policies, compatibility with the
    surrounding area, and corrects changed conditions that resulted from the
    end of the original PD agreements. This proposal also does not create
    additional adverse impacts on the property than would the PD, it meets a
    community need by not requiring surrounding property owners to pay for
    the amenities and Homeowner’s Association fees set forth in the original
    PD plan, and ensures logical and consistent development patterns to
    protect the area from over development. Lastly, a zone change will most
    likely result in a logical and consistent pattern of residential development.


Attachments:             excerpt from zoning map, showing the general location
                         within the City of San Angelo;

                         excerpt from     zoning    map,   highlighting   subject
                         property;
aerial photo, highlighting subject property;

                excerpt from the Comprehensive Plan Vision map
                highlighting the subject property;

                original PD concept plan;

                notification map highlighting         responses   from
                neighboring properties;

                citizen response letters;

                draft minutes from February 18, 2013 Planning
                Commission meeting; and,

                draft Ordinance.



Presentation:   AJ Fawver, Planning Manager

Reviewed by:    Jeff Hintz, Interim Senior Planner (02/11/13)
MINUTE RECORD OF THE CITY OF SAN ANGELO PLANNING COMMISSION MEETING
HELD ON MONDAY, February 18, 2013 AT 9:00 AM IN THE SOUTH MEETING ROOM OF
THE SAN ANGELO CONVENTION CENTER, 500 RIO CONCHO DRIVE, SAN ANGELO,
TEXAS

PRESENT:       Joe Grimes, Bill Lawrence, Jennifer Boggs, Darlene Jones, Bill Wynne

ABSENT:        Sebastian Guerrero (AE), Sam Tambunga (AE)

STAFF:         AJ Fawver, Interim Director of Development Services
               Jeff Hintz, Interim Senior Planner
               Kevin Boyd, Planner
               Roxanne Johnston, Planner

         C. Z 13-07: COSA Planning

           A request for approval of a zone change from a Planned Development (PD)
           zoning district to Single-Family Residential (RS-1) to specifically allow for
           “Household Living” as defined in Section 310 of the Zoning Ordinance on the
           following property:

           An unaddressed tract of land located at the southwest end of Twin Mountain
           Drive. This property specifically occupies approximately 24 acres of the G.
           Maurer Survey 0182, Abstract 1649, west of Sections One-A and One-B of The
           Homestead, in southwest San Angelo.

         Roxanne Johnston, Planner, came forward to present this request, consistent with
         the staff recommendation of approval. 13 notifications were sent out on this
         request, 3 of which were returned in favor. There were no notifications returned in
         opposition to this request. Ms. Johnston gave some background on the area. Ms.
         Johnston explained that there is one remaining piece of this PD that remains in this
         area. The original plan called for a gated community, an HOA, and additional
         community amenities. Ms. Johnston explained the complications for each individual
         lot and individual owner, due to these requirements. This change has taken place
         throughout the other two pieces of the original PD district, and this would simply be
         the last piece, restoring all of the area to an RS-1 district, which is consistent with
         the Vision Plan Map category of "Neighborhood". The proposal is in line with
         development of the area, and activity in this area (by single, individual property
         owners, not an HOA) is increasing. All development must adhere to RS-1
         development standards, so it would be consistent with the surrounding
         neighborhoods in the same general vicinity.

         There were no questions.

         No one came forward to speak in favor of this request. No one came forward to
         speak in opposition of this request.

         Motion, to approve as presented, was made by Jennifer Boggs and seconded by
         Bill Wynne. The motion passed unanimously, 5-0.
AN ORDINANCE AMENDING CHAPTER 12, EXHIBIT “A” OF THE CODE OF
       ORDINANCES, CITY OF SAN ANGELO, TEXAS, WHICH SAID EXHIBIT “A” OF
       CHAPTER 12 ADOPTS ZONING REGULATIONS, USE DISTRICTS AND A
       ZONING MAP, IN ACCORDANCE WITH A COMPREHENSIVE PLAN, BY
       CHANGING THE ZONING AND CLASSIFICATION OF THE FOLLOWING
       PROPERTY, TO WIT: An unaddressed tract of land located at the southwest
       end of Twin Mountain Drive. This property specifically occupies
       approximately 24 acres of the G. Maurer Survey 0182, Abstract 1649, west
       of Sections One-A and One-B of The Homestead, in southwest San Angelo,
       changing the zoning classification from a Planned Development (PD) to a
       Single Family Residential (RS-1) District; PROVIDING FOR SEVERABILITY
       AND PROVIDING A PENALTY

RE:    Z 13-07: COSA Planning

        WHEREAS, the Planning Commission for the City of San Angelo and the governing
body for the City of San Angelo, in compliance with the charter and the state law with
reference to zoning regulations and a zoning map, have given requisite notice by publication
and otherwise, and after holding hearings and affording a full and fair hearing to all property
owners and persons interested, generally, and to persons situated in the affected area and
in the vicinity thereof, is of the opinion that zoning changes should be made as set out
herein; NOW THEREFORE,

BE IT ORDAINED BY THE CITY OF SAN ANGELO:

       SECTION 1: That the basic zoning ordinance for the City of San Angelo, as enacted
by the governing body for the City of San Angelo on January 4, 2000 and included within
Chapter 12 of the Code of Ordinances for the City of San Angelo, be and the same is
hereby amended insofar as the property hereinafter set forth, and said ordinance generally
and the zoning map shall be amended insofar as the property hereinafter described: An
unaddressed tract of land located at the southwest end of Twin Mountain Drive. This
property specifically occupies approximately 24 acres of the G. Maurer Survey 0182,
Abstract 1649, west of Sections One-A and One-B of The Homestead, in southwest San
Angelo, changing the zoning classification from a Planned Development (PD) to a Single
Family Residential (RS-1) District;, shall henceforth be permanently zoned as follows:
Single Family Residential (RS-1) District.

The Director of Planning is hereby directed to correct zoning district maps in the office of the
Director of Planning, to reflect the herein described changes in zoning.

       SECTION 2: That in all other respects, the use of the hereinabove described
property shall be subject to all applicable regulations contained in Chapter 12 of the Code of
Ordinances for the City of San Angelo, as amended.

       SECTION 3: That the following severability clause is adopted with this amendment:
SEVERABILITY:
      The terms and provisions of this Ordinance shall be deemed to be severable in that,
      if any portion of this Ordinance shall be declared to be invalid, the same shall not
      affect the validity of the other provisions of this Ordinance.

      SECTION 4: That the following penalty clause is adopted with this amendment:

      PENALTY:
      Any person who violates any provisions of this article shall be guilty of a
      misdemeanor and, upon conviction, shall be subject to a fine as provided for in
      Section 1.106 of the Code of Ordinances for the City of San Angelo. Each day of
      such violation shall constitute a separate offense.


INTRODUCED on the 5th day of March, 2013 and finally PASSED, APPROVED AND
ADOPTED on this the 19th day of March, 2013.


                                         THE CITY OF SAN ANGELO




                                            ____________________________________
                                            Alvin New, Mayor

ATTEST:




________________________________
Alicia Ramirez, City Clerk




Approved As To Content:                  Approved As To Form:


_________________________                ________________________
AJ Fawver, Planning Manager              Lysia H. Bowling, City Attorney
City of San Angelo
                                                                 Office of the City Clerk




Memo
 Date:          February 13, 2013
 To:            Mayor and Councilmembers
 From:          Alicia Ramirez, City Clerk
 Subject:
                                          th
                Agenda Item for March 5 Council Meeting
 Contact:       Alicia Ramirez, City Clerk, 657-4405
 Caption:       Regular Item
                First Public Hearing and consideration of introduction of an Ordinance amending
                established boundaries of Single Member District 1
                AN ORDINANCE OF THE CITY COUNCIL OF THE CITY OF SAN ANGELO,
                TEXAS AMENDING THE ESTABLISHED BOUNDARIES OF SINGLE
                MEMBER DISTRICT NUMBER 1 FOR THE PURPOSE OF INCORPORATING
                NEWLY ANNEXED AREAS INTO SAID DISTRICT, PROVIDING FOR
                PRECLEARANCE AND ALL OTHER NECESSARY ACTIONS; AND
                PROVIDING FOR AN EFFECTIVE DATE


 Summary:       The City Council adopted two ordinances incorporating newly annexed areas in
 SMD 1.
 a. The public hearings were held on January 22, 2013 and February 5, 2013 and adopted an
    ordinance on February 5, 2013. The area annexed is 20 acres located west/southwest of
    the city at about the southern corner of the intersection of U.S. Highway 67 (Sherwood Way)
    and a southward projection of Appaloosa Trail, adjacent and contiguous to the present
    corporate limits of the city. The area is uninhabited and situated adjacent to an apartment
    development currently undergoing construction.
 b. The public hearings were held on February 5, 2013 and March 5, 2013 and adopted an
    ordinance on March 5, 2013. The area annex is 8.995 acres located west/southwest of the
    city at about northwest of mills pass drive, east of Community of Faith subdivision and
    southwest of Sam’s Club addition, adjacent and contiguous to the present corporate limits of
    the city. The area is uninhabited and situated adjacent to a growing residential subdivision.

 As part of the submission under Section 5 of the Voting Rights Act, the annexations update and
 change to the established boundaries of single member districts shall be cleared through the
 Department of Justice. Both areas are uninhabited.

 The City will comply with all necessary requirements for the submission by adoption of this ordinance.

 Financial Impact: None.

 Other Information/Recommendation:             Staff recommends updating the established boundary of
 SMD #1.

 Attachments: Annexation Map A and B, Proposed Ordinance, and Revised 2013 SMD Map




  Page 1
AN ORDINANCE OF THE CITY COUNCIL OF THE CITY
               OF SAN ANGELO, TEXAS AMENDING THE
               ESTABLISHED BOUNDARIES OF SINGLE MEMBER
               DISTRICT NUMBER 1 FOR THE PURPOSE OF
               INCORPORATING NEWLY ANNEXED AREAS INTO
               SAID DISTRICT, PROVIDING FOR PRECLEARANCE
               AND ALL OTHER NECESSARY ACTIONS; AND
               PROVIDING FOR AN EFFECTIVE DATE


WHEREAS, the City of San Angelo is a Home Rule municipal corporation operating
under a municipal charter that has been adopted as authorized by Article XI, Section 5 of
the Texas Constitution; and,

WHEREAS, pursuant to the City of San Angelo Charter, Section 3 entitled “Annexation”,
the City Council shall have the power, after public hearing, of fixing the boundaries of the
City of San Angelo and to annex additional territory by ordinance; and

WHEREAS, on February 5, 2013 and March 5, 2013, the City Council adopted
Ordinances #2013-02-021 and #2013-03-034, annexing certain uninhabited areas into
the City of San Angelo; and

WHEREAS, it is now necessary to incorporate such areas into a Single Member District
within the City of San Angelo in order to ensure future new residents of the right to vote;
and

WHEREAS, changes in single member districts constitute a change from prior practices
requiring preclearance under the Federal Voting Rights Act.

NOW THEREFORE BE IT ORDAINED BY THE CITY OF SAN ANGELO:

SECTION 1: RECITALS INCORPORATED. The recitals set forth above are incorporated
into the body of this Resolution as findings of the City Council as if fully set forth herein.

SECTION 2: DESIGNATION OF ESTABLISHED BOUNDARIES: The boundaries of
Single Member District 1 be, and are hereby, amended as set forth in Exhibit “A”,
attached hereto and incorporated herein by reference for all purposes.

SECTION 3: SUBMISSIONS TO THE UNITED STATES JUSTICE DEPARTMENT: The
City Clerk of the City of San Angelo, or her authorized agent, shall make such
submissions as are necessary to the United State Justice Department to seek pre-
clearance approval.

SECTION 4: NECESSARY ACTIONS: The Mayor and the City Clerk, in consultation
with the City Attorney, are hereby authorized and directed to take any and all actions
necessary or appropriate to comply with the provisions of the San Angelo Code of
Ordinances, the Texas Election Code and any other Texas State or federal law in
carrying out and designating established single member district boundaries for District 1,
as amended, whether or not expressly authorized herein and all such actions of City
officials previously taken for said purposes are hereby ratified.
SECTION 5: SEVERABILITY: The terms and provisions of this Ordinance shall be
deemed to be severable in that if any portion of this Ordinance shall be declared to be
invalid, the same shall not affect the validity of the other provisions of this Ordinance.

SECTION 6: EFFECTIVE DATE:           This ordinance shall be effective from and after
adoption of this ordinance.

INTRODUCED on the 5th day of March, 2013, and finally PASSED, APPROVED and
ADOPTED on this the 19th day of March, 2013.

                                                    CITY OF SAN ANGELO, TEXAS


                                                    _________________________
                                                    Alvin New, Mayor
ATTEST:


_________________________
Alicia Ramirez, City Clerk




Approved as to Content:                             Approved as to Form:

_________________________                           __________________________
Alicia Ramirez, City Clerk                          Lysia H. Bowling, City Attorney
EXHIBIT “A”

                 DESCRIPTION OF SINGLE MEMBER DISTRICT 1

                         FOR SAN ANGELO, TEXAS

          BY 2010 U. S. CENSUS P. L. 94-171 TRACT AND BLOCK

TRACT / BLOCK            TRACT / BLOCK           TRACT / BLOCK

001304    4008            001706    1034           001101     1098
001303    5006            001706    1023           001101     1099
001303    1004            001706    1037           001301     7006
001304    4003            001706    1020           001707     1015
001101    1075            001704    2187           001704     2182
001101    1025            001101    1087           001101     2002
001304    2000            001101    1046           001303     1008
001101    1114            001101    1065           001200     6038
001101    1084            001706    1038           001101     1081
001101    1097            001707    1002           001101     1092
001101    1053            001101    2008           001707     2029
001101    1104            001301    6003           001101     1064
001101    1041            001101    1089           001301     7007
001707    1044            001101    1095           001707     1008
001707    2039            001101    1096           001301     7002
001101    1045            001101    3004           001101     1112
001101    1027            001101    2004           001101     1060
001101    1036            001200    6039           001101     2009
001303    3005            001303    3006           001101     2001
001707    1011            001301    7014           001301     7000
001707    1026            001101    1109           001304     1000
001707    1043            001707    2016           001101     1011
001707    1010            001706    1011           001101     1009
001706    1030            001706    1018           001101     3002
001304    2005            001706    1041           001101     1023
001303    3003            001706    1019           001707     1034
001303    2005            001707    2037           001101     1103
001303    3008            001101    1010           001303     2008
001303    2001            001304    1005           001303     3010
001303    5005            001707    2038           001101     1115
001303    5002            001707    1001           001101     2007
001304    4007            001707    1012           001101     2000
001707    1021            001101    1069           001101     1091
001707    2023            001101    1068           001101     1111
001707    1042            001101    1118           001303     4002
001707    1032            001101    1078           001101     1090
001706    1014            001303    1010           001303     2003
001303   2006   001707   2019   001304   1009
001303   4005   001303   1005   001101   1048
001303   1001   001303   4009   001101   1116
001704   1095   001707   2015   001101   1049
001707   1033   001707   2013   001707   2033
001707   1028   001101   1074   001707   2034
001706   1027   001707   2026   001704   2179
001706   1032   001303   3001   001707   1000
001707   1018   001304   4005   001707   1013
001707   1016   001101   1035   001706   1001
001303   1000   001707   1005   001101   1108
001303   2012   001707   1031   001303   5001
001101   1083   001706   1016   001303   3012
001303   3009   001706   1025   001303   4008
001303   1003   001706   1033   001303   4003
001303   2011   001704   2180   001303   4000
001303   2002   001301   7013   001101   1042
001303   2007   001301   7003   001304   2001
001303   1002   001101   1038   001704   1079
001707   2031   001101   1101   001704   1115
001101   1055   001101   1088   001707   1003
001707   1006   001304   2002   001707   1030
001706   1008   001706   1028   001706   1007
001707   1017   001707   2014   001706   1009
001101   1086   001304   4000   001706   1022
001101   1082   001707   2011   001706   1040
001101   1113   001707   2028   001707   2021
001101   1057   001101   1061   001101   1026
001704   2000   001707   2032   001101   1117
001101   3001   001704   2184   001304   4002
001303   1006   001101   3003   001704   2186
001303   1007   001101   2006   001303   5008
001304   2004   001101   2005   001303   4004
001304   4006   001101   2003   001303   4010
001707   1038   001101   1100   001704   2181
001706   1013   001101   1106   001704   2185
001706   1042   001303   2004   001706   1003
001303   5009   001707   1027   001707   2018
001303   2009   001704   2001   001101   1059
001706   1002   001707   2025   001101   1105
001707   1009   001303   1009   001101   1058
001706   1029   001304   4001   001303   4006
001707   1039   001301   7005   001304   1006
001706   1026   001704   2183   001304   1008
001706   2002   001101   3000   001707   1040
001303   5004   001101   3006
001304   4004   001303   2010
001707   2012   001704   1068
001707   1037   001706   1004
001707   1035   001707   1014
001704   1094   001101   1093
001706   1006   001101   1071
001706   1010   001101   1070
001707   1022   001101   1056
001707   1024   001303   3013
001706   1031   001101   1063
001707   1036   001707   1007
001706   1012   001707   1029
001706   1015   001707   1025
001101   1024   001707   2017
001101   1054   001706   1017
001707   1020   001706   1021
001101   1077   001706   1036
001101   1067   001704   1096
001101   1110   001707   2022
001303   3007   001706   1035
001304   2003   001101   1047
001707   1019   001707   1004
001301   7004   001707   1023
001101   1076   001101   1066
001101   1050   001101   1079
001101   1051   001101   1080
001303   3011   001101   1072
001303   3000   001707   2036
001101   3005   001707   2020
001303   3002   001707   2010
001101   1094   001303   3004
001101   1107   001303   4001
001303   4011   001303   2000
001303   5000   001303   5007
001303   5003   001101   1085
001303   4007   001101   1073
001706   1024   001101   1044
001706   1000
001707   2027
001706   1039
001707   2009
001706   1005
001101   1102
City of San Angelo



Memo
 Date:          March 6, 2013
 To:            Mayor and Councilmembers
 From:          Ricky Dickson, Interim Water Utilities Director
 Subject:       Agenda Item for March 19, 2013 Council Meeting
 Contact:       Ricky Dickson, Water Utilities Director, 657-4209
 Caption:       Update on the design and construction activities for the Hickory Water Supply Project


 Summary:      Hutch Musallam with Carollo Engineers will give an update on the status of the
 Hickory Water Supply projects currently under design and the projects currently in construction.

 History:         Construction on the first Hickory project began in the Fall of 2011 with the Well
 Field Pipelines project. This project has since been completed and two other projects are
 currently under construction. The projects under construction are the 30” Transmission Main and
 the Booster Pump Station and Well Field Improvements. Projects currently in the design phase
 are the Groundwater Treatment Facility and drilling of new wells for the expansion of the well
 field. Planned projects will include equipping the new wells, extension of well field collector
 mains, extension of power lines to the new wells, construction of well access roads and
 installation of an additional pump in the booster pump station.

 Financial Impact:     N/A

 Other Information/Recommendation: N/A

 Attachments: Presentation

 Presentation: Project update by Hutch Musallam, Carollo Engineers.

 Publication: None.

 Reviewed by Service Area Director: Ricky Dickson, Water Utilities Director, March 6, 2013.
Progress Report




                                     San Angelo City Council



                                              March 19, 2013




Agenda
1.   Progress & Schedule Update:
     a.   Transmission M i
          T     i i Main
     b.   Booster Pump Station & Well Field
     c.   Treatment
     d.   New Groundwater Wells
2.
2    Questions Disc ssion
     Q estions & Discussion



                                                               2




                                                                   1
Transmission Main

 NTP January 23, 2012
 Substantial Completion: July 16, 2013
 Final Completion: September 14, 2013
 Current status: Dig-Lay-Bury is approximately
  80% complete




                                                  3




Progress As of March 4, 2013




                                                  4




                                                      2
Progress Summary

 3rd dig-lay-bury crew added through March 14,
  2013 to expedite production i BCV areas b f
         t      dit    d ti in             before
  nesting season.
 Work progressing in both directions
 Valves and appurtenance work ongoing with dig-
  lay-bury
  l b
 Pressure testing starting soon


                                                    5




Laying Pipe in Rock




                                                    6




                                                        3
Gate Valve Installation




                                               7




Booster Pump Station & Well Field

 NTP: June 18, 2012
 Substantial Completion: June 18, 2013
 Final Completion: July 17, 2013
 Current Status: Approximately 50% complete




                                               8




                                                   4
Progress Summary
 Booster pump cans set, backfill underway
 Foundations for all well buildings underway most
                                     underway,
  complete
 High point and well 6 tank foundations underway.
 Well cleaning underway
 Potential delay to current schedule mainly due to
  longer than expected time needed to clean and
  retrofit existing wells

                                                          9




    Hickory Wells 1-9 Background

     Wells drilled in the 70s
     Potential obstructions or items identified by the
      initial video survey at some wells
     TCEQ required cleaning of the well casing at
      each well along with the removal of debris or
      obstructions noted i the i i i l video survey
        b       i        d in h initial id
      followed by a new video survey to confirm
      conditions of wells

                                                          10




                                                               5
Conditions of Well
 Obstruction in Well 4 has been identified as a
  packing plug Contractor trying drill and air purge it
           plug.
  out of the well.
 Obstruction removal and repairs to 3 wells
 5 holes in well 7 casing: 1 at 64 feet, 3 at 1,128 feet,
  and 1 at 2,062 feet. A sleeve can be swaged in at 64
  feet and possibly at 1128 feet, but not at 2062 due to
  the pressure at that depth. H l at 2062 i
   h               h d h Hole                is
  completely sealed with grout.
 Well 1 liner casing slipped. Attempt will be made to
  remove the slipped casing.
                                                             11




Setting block for booster pump station
electrical building




                                                             12




                                                                  6
Booster Pump Cans




                                        13




Looking East PS & Electrical Building




                                        14




                                             7
Underground electrical at Well 1




                                                        15




Groundwater Treatment Plant

 Groundwater Treatment Facility
 Disinfection Facility
 Associated civil work and piping
 Project Status:
    • RRSS Selection and Design NTP: February 6, 2013
                             g              y ,
    • Overall final design: Anticipated completion
      completion April 30, 2013


                                                        16




                                                             8
Site Layout




Disinfection Facility   Groundwater
                        Treatment Facility
                                             17




Disinfection Facility




                                             18




                                                  9
Groundwater Treatment Facility




                                               19




Groundwater Treatment Facility




  Building Dimensions: 208’ – 0” x 133’ – 4”
                                               20




                                                    10
Groundwater Treatment Facility




                                   21




  Disinfection Facility




Building Dimensions:
  105’ – 4” x 64’ – 44”
                                   22




                                        11
Disinfection Facility




                                                                  23




Post Design Key Milestones
                                   Anticipated Dates or
                                   Schedule

TWDB/TCEQ Review                   May 1, 2013 through June 30
                                       1                    30,
                                   2013
Advertise Project                  May 16, 2013
Bid Project                        July 9, 2013
Recommendation of Award &          July 9 through July 16, 2013
Council Approval
TWDB R l
     Release of F d and NTP
              f Funds d            August 1 2013
                                   A    t 1,
Substantial Construction           July 31, 2014
Completion for GWTF
Final Construction Completion of   October 30, 2014
Project

                                                                  24




                                                                       12
New Wells

 Regulatory hurdle cleared and clearing, grubbing
  and grinding of cleared material of new wells and
    d i di      f l     d   t i l f           ll   d
  ROW complete.
 Phase 1: Engineering for “Drilling New Wells”
  underway. Expected design completion and
  submittal to TCEQ April 30 2013
                          30,
 Phase 2: Engineering for “Site Civil, Piping and
  Equipping New Wells” will start in May 2013

                                                           25




                                    Questions?




                                 San Angelo City Council



                                       March 23, 2013




                                                                13
City of San Angelo
                                                               Finance Department



Memo
 Date:            March 6, 2013
 To:              Mayor and Councilmembers
 From:            Steve Mahaffey, Budget Analyst, Sr.
 Subject:         Agenda Item for March 19, 2013 Council Meeting
 Contact:         Steve Mahaffey, Budget Analyst, Sr. 481-2757
 Caption:
                            st                          nd
                  Regular (1 reading)       Consent (2 reading)
                  First public hearing and introduction of an Ordinance amending the 2012-2013 Budget
                  for new projects, incomplete projects, capital projects and grants.


 Summary:         This proposed amendment contains the following items (additional information
 attached):

 City of San Angelo Operating Budget

       •   RLSS Grant for Health Department
       •   Texas Historical Commission Planning/Feasibility Study Grant
       •   Downtown Streetscape Project
       •   Chase State Office Building Maintenance




 History:     See attached Budget Amendment Request memorandum.
 Financial Impact:         $490,664 (see attached detail on Exhibit A of the Ordinance)




 Related Vision Item (if applicable): N/A

 Other Information/Recommendation: Staff recommends approval.

 Attachments: Ordinance including Exhibit A; Department request memos

 Presentation: N/A

 Publication:     N/A
 Reviewed by Service Area Director: Michael Dane, ACM/CFO
AN ORDINANCE OF THE CITY OF SAN ANGELO AMENDING
     THE BUDGET FOR THE FISCAL YEAR BEGINNING OCTOBER
     1, 2012, AND ENDING SEPTEMBER 30, 2013, FOR NEW
     PROJECTS, INCOMPLETE PROJECTS, AND GRANTS.



WHEREAS the City of San Angelo has determined that new projects not included in the
current budget should begin, and

WHEREAS the City of San Angelo has determined that certain budgeted amounts should
be amended due to project changes and unforeseen circumstances, and

WHEREAS the resources necessary for these changes are available;

NOW THEREFORE, BE IT ORDAINED BY THE CITY COUNCIL OF THE CITY OF
SAN ANGELO, TEXAS THAT:

The City’s budget for fiscal year 2012-2013 be amended by the amounts contained in
Exhibit A.



INTRODUCED on the 19th day of March, 2013, and APPROVED and ADOPTED on
this the 2nd day of April, 2013.



                                         CITY OF SAN ANGELO, TEXAS


                                         __________________________________
                                         Alvin New, Mayor

ATTEST:

__________________________________
Alicia Ramirez, City Clerk


Approved as to Content and Form:

__________________________________
Michael Dane, Assistant City Manager/CFO
City of San Angelo
Proposed Budget Amendment
Exhibit A



                                         Total         Total         Net
 Fund                                   Revenue     Expenditure    Benefit/
Number           Fund Name             Amendment    Amendment       (Cost)

COSA Operating Budget


  103     Intergovernmental Fund           47,380         47,380              0

          General Debt Service
  105                                          0         220,000   (220,000)
          Fund

  106     South TIRZ Fund                      0          93,284    (93,284)

  201     State Office Building Fund           0         130,000   (130,000)




                              Totals       47,380        490,664   (443,284)
City of San Angelo
Proposed Budget Amendment
Additional Information


                                                                                              Net Benefit/
Project/Need                              Source of Funding       Revenue       Expense         (Cost)

                                          Department of State
RLSS Grant Funds                          Health Services RLSS         22,402        22,402             0
                                          Grant

Texas Historical Commission               Texas Historical
                                                                       24,978        24,978             0
Planning/Feasibility Study Grant          Commission Grant

                                          South TIRZ Fund-Fund
Downtown Streetscape Project                                                0        93,284       (93,284)
                                          Balance

                                          State Office Building
Chase State Office Building Maintenance                                     0       130,000     (130,000)
                                          Fund - Fund Balance

                                          General Debt Service
                                                                            0       220,000     (220,000)
                                          Fund – Fund Balance




                                          Totals                       47,380       490,664     (443,284)
City of San Angelo
                                                               Finance Department




Memo
 Date:          February 21, 2013
 To:            Mayor and Councilmembers
 From:          Laura Brooks, Budget Analyst Sr.
 Subject:       Agenda Item for March 19, 2013 Council Meeting
 Contact:       Morgan Trainer, Finance, 325-653-6291
 Caption:       Regular Item
                Public hearing and consideration of approving and adopting a resolution
                authorizing the adoption of the 2013-2018 Capital Improvement Plan for the
                City of San Angelo


 Summary:       Attached is the final proposed 2013-2018 Capital Improvement Plan (CIP).

 The City Council must conduct a public hearing on the proposed Capital Improvement Plan (CIP). The
 proposed CIP must be published to the internet and a public notice providing the date and time of the
 public hearing published within two weeks of the CIP being posted and the CIP Transmittal Letter
 reinforces the objectives of the CIP as a planning tool and not a funding mechanism.

 The attached resolution is the final step to adopt the 2013-2018 Capital Improvement Plan (CIP).
 Submitted projects have been reviewed by the CIP committee.

 History: Preparation of the 2013-2018 CIP began November 20, 2012 with discussion with City
 Council. Budget staff provided instruction for division managers to prepare CIP projects
                                      ,
 December 10, 2012. On December 20 2012, project managers submitted proposed projects. The
 committee reviewed projects January 31, 2013. Public meetings were held February 7 and 12,
 2013. City Council Discussed the 2013-2018 Capital Improvement Plan (CIP) at the strategic
 planning session February 26, 2013 and at the regular meeting March 5, 2013.

 Financial Impact:   Funding will be discussed during the FY 2013-2014 budget preparation process.

 Related Vision Item (if applicable): Infrastructure and Financial Visions

 Other Information/Recommendation:          Staff recommendations approving the capital
 improvement plan and adoption of the resolution.

 Attachments: Proposed 2013-2018 Capital Improvement Plan, Resolution

 Presentation: Powerpoint

 Publication:   Notice of this Public Hearing was posted on the website.

 Reviewed by Service Area Director:       Michael Dane, Assistant City Manager/CFO



  Page 1
City of
 San Angelo




      2013-2018
CAPITAL IMPROVEMENT
        PLAN
2013-2018
                                         Capital
                                       Improvement
                                           Plan
                                         City Council
                                      Alvin New, Mayor

                Paul Alexander, SMD #1             Dwain Morrison, SMD #2

                Johnny Silvas, SMD #3

                Kendall Hirschfeld, SMD #5         Charlotte Farmer, SMD #6
                                     City Management
                              Daniel Valenzuela, City Manager

                Rick Weise, Assistant City Manager for Community Services
                Michael Dane, Assistant City Manager/Chief Financial Officer

    Capital projects are prepared by the staff member identified within each project sheet

                           Capital Improvement Plan preparation:

                             Morgan Trainer, Budget Manager
                           Laura Brooks, Senior Budget Analyst
                          Steven Mahaffey, Senior Budget Analyst

                        Introduction of the Capital Improvement Plan
                                      February 21, 2013
                            Public Hearing        March 5, 2013
                            Plan Adoption        March 19, 2013
 
This page was intentionally left blank
 
 
 
March 6, 2013 
 
 
 
Dear Citizens, 
 
The 2013‐2018 Capital Improvement Plan (CIP) is the seventh annual CIP completed by the City of San Angelo.  The 
citizens approved a change to the city’s charter in November 2007 to require the preparation of a CIP every year.   
Overview 
The plan identifies the capital needs of the city for a five‐year planning period.  The CIP is updated annually to reflect 
the changing needs of the community and address any new issues that impact our community.

The  CIP  does  not  appropriate  funds,  but  supports  the  budget  process  and  the  appropriations  made  through  the 
adoption of the budget.  An effective CIP provides for considerable advance notification, planning, evaluation, scope 
definition, design, public discussion, cost estimation, and financial planning.   
The objectives utilized to develop the CIP are: 
    To preserve and improve the infrastructure of San Angelo; 
    To identify and examine current and future infrastructure needs and minimize the financial impact on residents; 
    To  maximize  the  useful  life  of  capital  investments  by  scheduling  major  renovations  and  modifications  at  the 
     appropriate time in the life‐cycle of the facility; 
    To improve financial planning by comparing needs with resources, and estimating future funding issues; 
There are many benefits of having a CIP.  First and foremost, it provides an overall perspective for the development 
pattern of the city, thus enabling the citizens as well as the City Council and staff to take a long‐range view of their 
future activities and responsibilities.  The CIP also highlights the deficiencies of the city and stimulates action to correct 
them.    The  plan  promotes  coordination  of  projects  across  City  departments  and  across  overlapping  governmental 
jurisdictions.    It  also  allows  City  staff  to  more  effectively  budget  operating  expenditures  each  year  necessary  to 
maintain new projects and stabilize personnel demands. 
Compliance 
City staff together with public input made every effort to ensure the CIP is compliant with the items mandated in the 
city charter.  Section 59A (attached) from the city charter defines San Angelo’s capital program.  This language was truly 
a cohesive effort drafted by a committee of City staff and citizens.  For example the charter states the plan should be an 
annual effort, outlines what content should be included, requires public hearings, and dictates how the plan should be 
adopted.   
The City Charter sets forth the mandatory elements of a comprehensive capital plan.  Those elements include a  
      A summary,  
      long‐term goals of the community,  
      capital improvement expenditures,  
      cost estimates,  
      funding source,  
      estimated annual operating costs,  
      how the plan sustains San Angelo,  
      and performance measures. 
                                                                1
2
3
This page was intentionally left blank




                 4
STRATEGIC PLANNING MEETING PRIORITIES
                                     (FEBRUARY 26, 2013)


1. Street maintenance / restoration / illustration
   a. Evaluation
        i. Assess condition
       ii. Plan / prioritize
      iii. Fund
      iv. Build
       v. Maintain
      vi. Continue to repeat – i. through v.
   b. Street Condition Study
        i. Obtain funding sources to assist with study, i.e. grants
       ii. Group all streets and categorize/evaluate by useful life and level of work to be
             completed: New streets, sealcoat, mill & overlay, and total reconstruct.
      iii. Based on comprehensive 7 year rotation plan, determine at which level to assign a
             street, including associated costs
      iv. Base prioritization on assessed data and future use
       v. Implement Comprehensive 7 Year Street Plan
             1. Plan will decrease overall CIP cost by 1/5
      vi. Work closely with Street & Bridge Department to begin maintenance program
2. Stormwater infrastructure
3. Reduce property tax rate
   a. Transition subsidized projects to self funded
   b. Utilize additional funds to fund one time projects, i.e. streets, police center, underground
      stormwater infrastructure
   c. Steady government growth related to population
   d. Implemented 10 year goal to decrease property tax from 86.86% to 76%.
   e. Establish a goal to decrease property tax to 70% and out of the TML Top Ten highest
      property tax rate for cities over 50K population




                                               5
4. Revenue Retain/wage/maintain staffing
   a. Impact of Cline Shale
          i.   Impact study conducted on Eagle Ford Shale (expands over 20 counties)
         ii.   Projecting increasing sales tax revenues and housing
        iii.   Potential to create 17k jobs within 7 years
        iv.    San Angelo experiencing increased inflationary factors
                 1. Must insure organization is running efficiently and directing funds to the
                    appropriate projects
5. Manage organization growth
   a. Steady government growth related to population
         i. Organization growth where necessary, i.e. public safety
6. Offset value increase with rate reduction
   a. Per hotel/motel room
7. Tourism: Onetime projects
   a. Wayfinding
         i. Establish and implement a uniform plan
        ii. Utilize HOT to fund
   b. Ft. Concho
         i. Established a virtual presentation and accomplish more for tourism, i.e. talking mule or
             buffalo soldier.
   c. Ft. Concho maintenance
         i. Utilize HOT to fund infrastructure
   d. Coliseum Marquee signage
         i. Utilize HOT to fund infrastructure
   e. Other occupancy tax projects
   f.    Reserve / rate stabilization
         i. Establish reserve funds for major projects, including Hotel Occupancy Tax
        ii. Establish rate stabilization for known future projects to provide a smooth transition, i.e.
             landfill
   g. Grantee accountability
         i. Establish and implement performance measurements, metrics, and benchmarks
        ii. Consider long term imaging, incremental increases, image building, continually raising
             the bar
   h. Create/pursue an image/vision
   i.    Exceptionalism at all levels




                                                   6
j.    Chamber partnership
          i. Establish and implement performance measurements, metrics, and benchmarks
         ii. Tangible results
        iii. Implement a set fee vs. percentage allocation, thereby providing static funds that can be
               adjusted
   k. Recruit more events, i.e. drag boat races
   l.   Revenue per room
         i. Disclose anomalies
        ii. Measure/track room rate increase impacts
8. Police Department Facility
   a. Restart momentum
       i. Establish a budget for facility
      ii. Consider issuing bond
   b. Debt capacity update

9. Economic Development
   a. What to incent?
          i. Establish criteria on types of business to incentivize
              1. Consider preference points to qualify for incentive
         ii. Put study in action
              1. Continue with discipline on the big study; key points into play
        iii. Assist Chamber to complete marketing plan
              1. Tailor focus
   b. Provide support for local/small business
          i. Business Resource Center
         ii. Human Resources support
        iii. Technical support
   c. Streamline Housing / building process
          i. Expedite regulatory process
              1. Make the process quicker to accommodating the customer’s needs, but still
                  manage staff, i.e. working overtime
         ii. Permit time objectives
        iii. Targeted staffing increases
        iv. Time studies/objectives
         v. Productivity benchmarks
   d. Brownwood/3M Company Inquiry
   e. Short / long term goals
          i. Provide assistance to local business to speed up the process
         ii. Continue with strategic plan process
        iii. Continue with Chamber’s marketing plan; accountability


                                                7
f.   Economic diversification
      i. Build existing businesses to handle low or declining economic periods
g. Sales tax equity – Online vs. Bricks & Mortar
       i. Small business online sales
      ii. Provide service via Business Resource Center
     iii. Establish a national presence for local businesses
h. Transportation
       i. Air service
      ii. Regional road issues
     iii. Ports to Plains
i.   Re-cap report of the various projects and studies
      i. Goal progress/ executive summary
          1. Dashboard view
          2. Requires self discipline to stay on top of these plans
               a. Lake Nasworthy Study / Gateway Planning




                                              8
City of San Angelo
                                                                                                                                            2013‐2018 Capital Improvement Plan
                                                                                                                                                   Summary of Projects

Project Type Key: IN= Infrastructure; AP= Airport; COF= City Operation Facilities; CFP‐ Community Facilities & Parks; EN= Environmental Projects; EQ= Equipment; TG= Technology


                                                                                                                                      Dedicated/C
 Project                                                                                                                               ommitted                                                                                                                            Total Project 
  Type              Division                                 Project Title                                 Project Manager              Funding              Proposed Funding Source         2013/2014       2014/2015      2015/2016      2016/2017       2017/2018          Costs
    IN       Street & Bridge      Mill & Overlay‐ Main Street                                                 Clinton Bailey                 Y         General Fund                               185,000                                                                          185,000
    IN       Street & Bridge      Mill & Overlay ‐ 14th Street                                                Clinton Bailey                 Y         General Fund                               403,000                                                                          403,000
    IN       Street & Bridge      Mill & Overlay ‐ 19th Street                                                Clinton Bailey                 Y         General Fund                               378,000                                                                          378,000
                                  Reconstruction of Bell St from Concho River to Old Ballinger 
    IN       Street & Bridge                                                                                  Clinton Bailey                N                                                    4,800,000                                                                        4,800,000
                                  Hwy                                                                                                                  Undetermined
    IN       Street & Bridge      Reconstruction of Glenna Dr. from Houston Harte to Junius St                Clinton Bailey                N                                                                                                  1,300,000                          1,300,000
                                                                                                                                                       Undetermined
    IN       Street & Bridge      Reconstruction of Main St. from 19th St. to 26th St.                        Clinton Bailey                N          Undetermined                                                                                            1,800,000          1,800,000
    IN       Street & Bridge      Reconstruction of MLK Blvd. from 25th St. to 29th St.                       Clinton Bailey                N          Undetermined                                                            2,500,000                                          2,500,000
                                  Reconstruction of Southwest Blvd from Sunset South to 
    IN       Street & Bridge                                                                                  Clinton Bailey                N                                                                   6,500,000                                                         6,500,000
                                  Railroad Tracks                                                                                                      Undetermined
                                  Reconstruction of 29th St. from Bryant Blvd. to 2018 N. 
    IN       Street & Bridge                                                                                  Clinton Bailey                N                                                                                                                  2,500,000          2,500,000
                                  Chadbourne                                                                                                           Undetermined
             Engineering 
    IN                            Sealcoat Program                                                            Clinton Bailey                 Y                                                   1,800,000        600,000        600,000        600,000         600,000           4,863,000
             Services                                                                                                                                  General Fund
    IN       Stormwater           Storm Water Quality Improvements                                            Clinton Bailey                N          Future Stormwater Utility Fee             1,000,000      1,000,000      1,000,000       1,000,000       1,000,000        29,300,000
    IN       Stormwater           Sunset Lake Improvements                                                    Clinton Bailey                 Y         Stormwater Utility Fee                                     700,000                                                          700,000
    IN       Stormwater           Remediation of Drainage Ave P                                               Clinton Bailey                 Y         General Fund                              1,300,000                                                                        2,000,000
    IN       Water Utilities      Avenue D Water Line Replacement                                           Robert Bluthardt                 Y         Water Fund                                  75,000          25,000         25,000                                           125,000
    IN      Water Utilities       Automated Meter Reading System                                              Ricky Dickson                  Y         Water CIP Fund                            1,250,000      1,250,000                                                         7,550,000
    IN       Water Utilities      Clay Pipe Replacements                                                      Ricky Dickson                  Y         Water CIP Fund                            1,000,000      1,000,000      1,000,000       1,000,000       1,000,000        73,997,896
    IN       Water Utilities      Collector Main Replacements                                                 Ricky Dickson                  Y         Wastewater CIP Fund                       1,000,000      1,000,000      1,000,000       1,000,000                        23,700,000
    IN       Water Utilities      Hickory Water Supply Development Phase I                                    Ricky Dickson                  Y         Water Fund/Type B Sales Tax              37,000,000     30,000,000                                                      120,000,000
    IN       Water Utilities      High Service Pump Station Rehab                                             Ricky Dickson                  Y         Water CIP Fund                                                                                                             3,950,000
    IN       Water Utilities      Lift Station Improvements                                                   Ricky Dickson                  Y         Wastewater CIP Fund                        200,000         200,000        200,000        200,000         200,000           1,720,000
    IN       Water Utilities      Nasworthy Dam Emergency Spillway                                            Ricky Dickson                  Y         Water CIP Fund                                           2,000,000                                                         2,000,000
    IN       Water Utilities      Nasworthy Dam Stop Log                                                      Ricky Dickson                  Y         Water CIP Fund                                                            750,000                                           750,000
    IN       Water Utilities      Lake Nasworthy Gate Operators                                               Ricky Dickson                  Y         Water CIP Fund                            2,216,000                                                                        3,250,000
    IN       Water Utilities      Transmission Line Valves Replacement                                        Ricky Dickson                  Y         Water CIP Fund                             500,000         500,000        500,000                                          3,650,000
    IN       Water Utilities      Transmission Mains                                                          Ricky Dickson                  Y         Water CIP Fund                            5,100,000      5,300,000      6,000,000       6,150,000                        28,190,000
                                                                                                                                                       Water CIP Fund, Water Fund,State 
    IN       Water Utilities      Twin Buttes Eco‐System Restoration                                          Ricky Dickson                  Y                                                                                                                                    1,000,000
                                                                                                                                                       Soil & Water Board
    IN       Water Utilities      Water Billing & Customer Service Office Remodeling                          Ricky Dickson                  Y         Water CIP Fund                             500,000                                                                         1,000,000
    IN       Water Utilities      Water Main Replacements                                                     Ricky Dickson                  Y         Water CIP Fund                            1,300,000      1,300,000      1,300,000       1,300,000       1,300,000        52,761,509
    IN       Water Utilities      Water Reclamation Plant Improvements                                        Ricky Dickson                  Y         Wastewater CIP Fund                        200,000         200,000        200,000        200,000         200,000           1,800,000
    IN       Water Utilities      Water Treatment Plant Equipment Improvements                                Ricky Dickson                  Y         Water CIP Fund                             200,000         400,000        200,000        200,000         200,000           2,200,000
    IN       Water Utilities      Wastewater Service to Existing Developed Areas                              Ricky Dickson                  Y         Wastewater CIP Fund                                                                                                      17,200,000

    IN      Traffic Operations Replace School Zone and Crosswalk Equipment                                    Shane Kelton                   Y                                                     18,000          18,000         18,000         18,000                            158,000
                                                                                                                                                       Tom Green County Fee

    IN       Traffic Operations Sign Reflectivity Upgrade                                                     Shane Kelton                   Y         General Fund                                56,550          57,681         58,834         60,011          61,211            577,364

                                                                             Level 1 Infrastructure Projects Total                                                                              60,481,550     52,050,681     15,351,834      13,028,011       8,861,211       402,808,769


    AP       Airport              Apron Joint Seal                                                           Luis Elguezabal                 Y         FAA Grant,PFC Fund                                                         54,900        555,555                            610,455
    AP       Airport              Runway 3‐21 Lights & Beacon                                                Luis Elguezabal                 Y         FAA Grant,PFC Fund                                                                                                          631,889

    AP       Airport              Airport Terminal Renovation                                                Luis Elguezabal                 Y                                                   1,110,000      1,110,000      1,110,000        600,862                           6,280,241
                                                                                                                                                       FAA Grant,PFC Fund,Type B Sales Tax
            Emergency 
   COF                            EOC HVAC Replacement                                                        Teresa Covey                  N                                                     500,000                                                                          500,000
            Management                                                                                                                                 Undetermined
   COF      Fire                  Fire Station 4 Reconstruction                                                Brian Dunn                   N          General Fund C.O.                                        2,580,000                                                         2,580,000
   COF       Fire                 Fire Training Facility                                                       Brian Dunn                   N          General Fund C.O., Federal Grant          1,400,000                                                                        2,600,000




                                                                                                                                                                   9
City of San Angelo
                                                                                                                                            2013‐2018 Capital Improvement Plan
                                                                                                                                                   Summary of Projects

Project Type Key: IN= Infrastructure; AP= Airport; COF= City Operation Facilities; CFP‐ Community Facilities & Parks; EN= Environmental Projects; EQ= Equipment; TG= Technology


                                                                                                                                      Dedicated/C
 Project                                                                                                                               ommitted                                                                                                                              Total Project 
  Type              Division                                 Project Title                                 Project Manager              Funding              Proposed Funding Source           2013/2014       2014/2015      2015/2016      2016/2017       2017/2018          Costs
   COF      Fort Concho           Chase State Office Building Improvements                                  Robert Bluthardt                 Y         State Office Building Fund                   200,000          20,000         20,000         20,000          20,000            300,000
   COF       Police               Police Boat Storage Dock                                                     Tim Vasquez                  N          Undetermined                                  75,000                                                                           75,000
   COF       Police               Mobile Command Center Storage Facility                                       Tim Vasquez                  N          Undetermined                                  60,000                                                                           60,000
   COF      Police                Police Department Administration Building                                    Tim Vasquez                  N          General Fund, General Fund C.O.            25,775,000                                                                      25,910,067
   CFP       Civic Events         Auditorium Renovation                                                       Angelica Pena                  Y         Type B Sales Tax                                           2,314,197                                                         3,750,000
   CFP       Civic Events         Fairgrounds Livestock Barn                                                  Angelica Pena                  Y         Type B Sales Tax                                                                                                             1,000,000
   CFP       Civic Events         Coliseum Improvements                                                       Angelica Pena                 N          Undetermined                                  60,000                                                                           60,000
   CFP       Civic Events         Coliseum Roof                                                               Angelica Pena                 N          Undetermined                                 545,000                                                                          545,000
   CFP       Civic Events         Convention Center Improvements                                              Angelica Pena                 N          Undetermined                                  83,069                                                                          119,900
   CFP       Fort Concho          Fort Concho Barracks 6 New Floor                                          Robert Bluthardt                N          Undetermined                                  15,000                                                                           15,000
   CFP       Fort Concho          Heating & Cooling Unit Replacements Fort Concho                           Robert Bluthardt                N          Undetermined                                 125,000          20,000         15,000                                           160,000
   CFP       Fort Concho          Fort Concho Post Bandstand                                                Robert Bluthardt                N          Undetermined                                  25,000                                                                           25,000
   CFP       Fort Concho          Fort Concho Visitor Center Improvements                                   Robert Bluthardt                N          Undetermined                                 100,000         750,000        250,000        400,000                           1,500,000
   CFP      Fort Concho           Fort Concho OQ1 Rear Room & Roof Repairs                                  Robert Bluthardt                N          Undetermined                                  75,000                                                                           75,000
            Development 
   CFP                            Wayfinding Phases I‐III                                                      A.J. Fawver                  N                                                                       100,000        100,000        100,000                            300,000
            Services                                                                                                                                   Undetermined

   CFP       MPO                  Neighborhood Pedestrian Improvement Program                                 Doray Hill, Jr.                Y                                                     1,000,000      1,000,000      1,000,000       1,000,000       1,000,000          5,000,000
                                                                                                                                                       Transportation Grant, General Fund
   CFP       Real Estate/Legal Santa Fe Train Depot Improvements                                               Cindy Preas                  N          Undetermined                                  21,238          20,000         15,000         22,500          22,500            126,238
   CFP       Real Estate/Legal Spur Parking Garage                                                             Cindy Preas                  N          Undetermined                                1,825,000                                                                        1,825,000
   CFP       Parks                29th Street Complex                                                           Carl White                   Y         Type B Sales Tax                                           1,650,000                                                         1,650,000
   CFP       Recreation           Community Aquatics Facility                                               MaryAnn Vasquez                  Y         Type B Sales Tax, Donation                                                                                                   3,262,422
   CFP      Recreation            Recreation Center Air Conditioning                                        MaryAnn Vasquez                 N          Undetermined                                                 500,000                                                          500,000
   CFP      Recreation            Youth Soccer Complex at Glenna St                                         MaryAnn Vasquez                  Y         Type B Sales Tax                                                                                                              270,000
   CFP       Parks                Bradford Neighborhood & School Park                                           Carl White                   Y         Type B Sales Tax                                                                                                              175,000
   CFP       Parks                Brentwood Park Renovation                                                     Carl White                   Y         Type B Sales Tax                                             275,000                                                          275,000
   CFP       Parks                Brown Park Renovation                                                         Carl White                   Y         Type B Sales Tax                                                            175,000                                           175,000
   CFP       Parks                Central Control Irrigation                                                    Carl White                   Y         Type B Sales Tax                                                                                                              110,500
   CFP      Parks                 Civic League Park Improvements                                                Carl White                   Y         Grant, Donation                              115,000                                                                          115,000
   CFP       Parks                Fairmount Cemetery Improvements Phase I                                       Carl White                  N          Donation, Undetermined                                       600,000                                                          600,000

   CFP       Parks                Hilltop Trail                                                                 Carl White                   Y                                                      200,000                                                                          200,000
                                                                                                                                                       Grant, Possible Trust Fund Funding

   CFP      Parks                 Middle Concho Boat Ramp                                                       Carl White                   Y                                                      471,000                                                                          471,000
                                                                                                                                                       Grant, Possible Trust Fund Funding

   CFP      Parks                 Red Arroyo Trail                                                            Clinton Bailey                 Y         Grant, Type B Sales Tax, Stormwater          400,000         400,000                                                         4,000,000
                                                                                                                                                       Fund, Private Donation
                                                                                                                                                       CDBG Funds, Type B Sales Tax, 
   CFP       Parks                Rio Vista Neighborhood Park Renovation                                        Carl White                   Y                                                                                                                                       813,900
                                                                                                                                                       Donation
   CFP       Parks                Rio Concho Community Park                                                     Carl White                  N          Type B Sales Tax, Undetermined                                85,000                                                          650,000
   CFP       Parks                Santa Rita Neighborhood Park Renovation                                       Carl White                   Y         Type B Sales Tax, Donation                                                                 150,000                            150,000

   CFP       Parks                South Concho Boat Ramp                                                        Carl White                   Y                                                                      438,600                                                          438,600
                                                                                                                                                       Grant, Possible Trust Fund Funding
   CFP       Parks                Sunken Garden Park                                                            Carl White                  N          Undetermined                                                                                               275,000            275,000
                                  Concho River Dredging, Bank Stabilization, & Trail                                                                   Type B Sales Tax, Grants, Stormwater 
    EN       Parks                                                                                              Carl White                   Y                                                                                                                                    15,436,647
                                  Improvements                                                                                                         Fund

    EQ       Public Information Public Information Equipment Replacement                                     Anthony Wilson                 N                                                        19,874           4,668          5,378                                            47,856
                                                                                                                                                       Grant, Undetermined
    TG       Police               Public Communications Technology Upgrade                                   Victor Vasquez                 N          Undetermined, General Fund                   120,000                                                                          517,000
    TG       Fire                 Mobile Data Terminals                                                        Brian Dunn                   N          Undetermined                                 182,600                                                                          182,600




                                                                                                                                                                  10
City of San Angelo
                                                                                                                                            2013‐2018 Capital Improvement Plan
                                                                                                                                                   Summary of Projects

Project Type Key: IN= Infrastructure; AP= Airport; COF= City Operation Facilities; CFP‐ Community Facilities & Parks; EN= Environmental Projects; EQ= Equipment; TG= Technology


                                                                                                                                      Dedicated/C
 Project                                                                                                                               ommitted                                                                                                                      Total Project 
  Type            Division                                   Project Title                                 Project Manager              Funding              Proposed Funding Source   2013/2014       2014/2015      2015/2016      2016/2017       2017/2018          Costs
             Information 
    TG                            Server Upgrades                                                              John Eades                   N                                                25,000          25,000         25,000         25,000          25,000            250,000
             Technology                                                                                                                                General Fund, Undetermined
             Information 
    TG                            IBM Power 7 Server                                                           John Eades                   N          General Fund, Undetermined            65,000                                                                           65,000
             Technology
                                                                                Level 2 Other Projects Total                                                                              34,592,781     11,892,465      2,770,278       2,873,917       1,342,500        84,679,315



                                              2013‐2018 Capital Improvement Plan Level 1 & 2 Projects Total                                                                            95,074,331 63,943,146 18,122,112              15,901,928      10,203,711      487,488,084




                                                                                                                                                                  11
This page was intentionally left blank




                 12
2013-2018
   Capital
Improvement
    Plan

 Infrastructure
    Projects
                          LEVEL 1
Projects related to Streets, Water, Waste Water, & Storm Water




                              13
City of San Angelo, Texas
                                        2013-2018 Capital Improvement Plan
                     Mill and Overlay of Main St. from Houston Harte to 19th St.
Responsible Dept:                   Engineering Services                                    Project Manager:                       Clinton Bailey

Financial Plan:
      Prior           Budget                                              Projected
     Years            12/13             13/14           14/15              15/16                   16/17           17/18                 Future                   Total
 $              -               -        185,000                 -                     -                       -               -                        -   $       185,000

Description:
Mill and overlay is a street maintenance process whereby the top 1"-3" of existing asphalt pavement is removed with a milling machine and a 1"-3"
layer of asphalt is placed with a asphalt paver directly over the milled area. Mill and overlay considered a "high-level" preventative maintenance
activity or "low-level" reconstruction effort that falls between sealcoat maintenance and full depth reconstruction with respect to overall cost and
project complexity. The success of the mill and overlay process is largely dependent upon the condition of the roadway foundation (base course
and subgrade). With the roadway foundation in good condition, a mill and overlay can potentially add 10-15 years to the useful life of the roadway.



Supporting planning document(s):




                                                                                           Project Cost:                                Estimated           Project-to-Date
                                                                                           ROW/Easements/Land                                      -                      -
                                                                                           Design                                                  -                      -
                                                                                           Construction                                      185,000                      -
                                                                                           Other                                                   -                      -

                                                                                           Total                                    $        185,000        $             -

                 Insert a picture of your proposed project here.                           Project Schedule:                                                    % Complete
                 Click on Insert in the menu bar, then Picture…                            Design: December 2012                                                      100%
    then find picture in your files…       then double click picture to insert.            Implementation: April 2013                                                    0%




                                                                                           Funding Sources:                                                      Amount
                                                                                           General Fund                                                     $      185,000




Operating Budget Impact if Completed:                                      13/14                   14/15           15/16                  16/17                   17/18
Reduce overall roadway maintenance                                    $            -                       -               -                        -                     -




Operating Budget Impact if NOT Completed:                                  13/14                   14/15           15/16                  16/17                   17/18
                                                                      $            -                       -               -                        -                     -




Performance Measures:
Improve ride quality and reduce future maintenance costs.


Notes:




Present Value of Future Cash Flows
  Completing Project $181,551
  Not Completing Project Undetermined

Location of Project (provide at least one of the following locators for each project location):
Address:                                       Street Address                              City                                                         State
                            1) Main Street                                    San Angelo                                             Texas




                                                                              14
City of San Angelo, Texas
                                        2013-2018 Capital Improvement Plan
                    Mill and Overlay of 14th St. from Chadbourne St. to Main St.
Responsible Dept:                   Engineering Services                                    Project Manager:                       Clinton Bailey

Financial Plan:
      Prior           Budget                                              Projected
     Years            12/13             13/14           14/15              15/16                   16/17           17/18                 Future                   Total
 $              -               -        403,000                 -                     -                       -               -                        -   $       403,000

Description:
Mill and overlay is a street maintenance process whereby the top 1"-3" of existing asphalt pavement is removed with a milling machine and a 1"-3"
layer of asphalt is placed with a asphalt paver directly over the milled area. Mill and overlay considered a "high-level" preventative maintenance
activity or "low-level" reconstruction effort that falls between sealcoat maintenance and full depth reconstruction with respect to overall cost and
project complexity. The success of the mill and overlay process is largely dependent upon the condition of the roadway foundation (base course
and subgrade). With the roadway foundation in good condition, a mill and overlay can potentially add 10-15 years to the useful life of the roadway.



Supporting planning document(s):




                                                                                           Project Cost:                                Estimated           Project-to-Date
                                                                                           ROW/Easements/Land                                      -                      -
                                                                                           Design                                                  -                      -
                                                                                           Construction                                      403,000                      -
                                                                                           Other                                                   -                      -

                                                                                           Total                                    $        403,000        $             -

                 Insert a picture of your proposed project here.                           Project Schedule:                                                    % Complete
                 Click on Insert in the menu bar, then Picture…                            Design: December 2012                                                      100%
    then find picture in your files…       then double click picture to insert.            Implementation: April 2013                                                    0%




                                                                                           Funding Sources:                                                      Amount
                                                                                           General Fund                                                     $      403,000




Operating Budget Impact if Completed:                                      13/14                   14/15           15/16                  16/17                   17/18
Reduce overall roadway maintenance                                    $            -                       -               -                        -                     -




Operating Budget Impact if NOT Completed:                                  13/14                   14/15           15/16                  16/17                   17/18
                                                                      $            -                       -               -                        -                     -




Performance Measures:
Improve ride quality and reduce future maintenance costs.


Notes:




Present Value of Future Cash Flows
  Completing Project $395,486
  Not Completing Project Undetermined

Location of Project (provide at least one of the following locators for each project location):
Address:                                       Street Address                              City                                                         State
                            1) 14th Street                                    San Angelo                                             Texas




                                                                              15
City of San Angelo, Texas
                                        2013-2018 Capital Improvement Plan
            Mill and Overlay of 19th St. from Bryant Blvd. West to Concho River
Responsible Dept:                   Engineering Services                                    Project Manager:                       Clinton Bailey

Financial Plan:
      Prior           Budget                                              Projected
     Years            12/13             13/14           14/15              15/16                   16/17           17/18                 Future                   Total
 $              -               -        378,000                 -                     -                       -               -                        -   $       378,000

Description:
Mill and overlay is a street maintenance process whereby the top 1"-3" of existing asphalt pavement is removed with a milling machine and a 1"-3"
layer of asphalt is placed with a asphalt paver directly over the milled area. Mill and overlay considered a "high-level" preventative maintenance
activity or "low-level" reconstruction effort that falls between sealcoat maintenance and full depth reconstruction with respect to overall cost and
project complexity. The success of the mill and overlay process is largely dependent upon the condition of the roadway foundation (base course
and subgrade). With the roadway foundation in good condition, a mill and overlay can potentially add 10-15 years to the useful life of the roadway.



Supporting planning document(s):




                                                                                           Project Cost:                                Estimated           Project-to-Date
                                                                                           ROW/Easements/Land                                      -                      -
                                                                                           Design                                                  -                      -
                                                                                           Construction                                      378,000                      -
                                                                                           Other                                                   -                      -

                                                                                           Total                                    $        378,000        $             -

                 Insert a picture of your proposed project here.                           Project Schedule:                                                    % Complete
                 Click on Insert in the menu bar, then Picture…                            Design: December 2012                                                      100%
    then find picture in your files…       then double click picture to insert.            Implementation: April 2013                                                    0%




                                                                                           Funding Sources:                                                      Amount
                                                                                           General Fund                                                     $      378,000




Operating Budget Impact if Completed:                                      13/14                   14/15           15/16                  16/17                   17/18
Reduce overall roadway maintenance                                    $            -                       -               -                        -                     -




Operating Budget Impact if NOT Completed:                                  13/14                   14/15           15/16                  16/17                   17/18
                                                                      $            -                       -               -                        -                     -




Performance Measures:
Improve ride quality and reduce future maintenance costs.


Notes:




Present Value of Future Cash Flows
  Completing Project $370,952
  Not Completing Project Undetermined

Location of Project (provide at least one of the following locators for each project location):
Address:                                       Street Address                              City                                                         State
                            1) 19th Street                                    San Angelo                                             Texas




                                                                              16
City of San Angelo, Texas
                                        2013-2018 Capital Improvement Plan
               Reconstruction of Bell St from Concho River to Old Ballinger Hwy
Responsible Dept:                   Engineering Services                                    Project Manager:                       Clinton Bailey

Financial Plan:
      Prior           Budget                                              Projected
     Years            12/13             13/14           14/15              15/16                   16/17           17/18                 Future                   Total
 $              -               -      4,800,000                 -                     -                       -               -                        -   $     4,800,000

Description:
Full depth reconstruction of Bell St. from Concho River to Old Ballinger Hwy, installation of sidewalks and ADA compliant curb ramps.




Supporting planning document(s):




                                                                                           Project Cost:                                Estimated           Project-to-Date
                                                                                           ROW/Easements/Land                                     -                       -
                                                                                           Design                                                 -                       -
                                                                                           Construction                                   4,800,000                       -
                                                                                           Other                                                  -                       -

                                                                                           Total                                    $     4,800,000         $             -

                 Insert a picture of your proposed project here.                           Project Schedule:                                                    % Complete
                 Click on Insert in the menu bar, then Picture…                            Design:                                                                       0%
    then find picture in your files…       then double click picture to insert.            Implementation:                                                               0%




                                                                                           Funding Sources:                                                      Amount
                                                                                           Undetermined                                                     $     4,800,000




Operating Budget Impact if Completed:                                      13/14                   14/15           15/16                  16/17                   17/18
Reduce roadway maintenance                                            $            -                       -               -                        -                     -




Operating Budget Impact if NOT Completed:                                  13/14                   14/15           15/16                  16/17                   17/18
                                                                      $            -                       -               -                        -                     -




Performance Measures:
Improve ride quality, provide ADA compliant handicap access, provide pedestrian amenities and reduce future maintenance costs.


Notes:




Present Value of Future Cash Flows
  Completing Project $4,710,500
  Not Completing Project Undetermined

Location of Project (provide at least one of the following locators for each project location):
Address:                                       Street Address                              City                                                         State
                            1) Bell Street                                    San Angelo                                             Texas




                                                                              17
City of San Angelo, Texas
                                        2013-2018 Capital Improvement Plan
                    Reconstruction of Glenna Dr. from Houston Harte to Junius St.
Responsible Dept:                   Engineering Services                                    Project Manager:                   Clinton Bailey

Financial Plan:
      Prior           Budget                                              Projected
     Years            12/13             13/14           14/15              15/16                   16/17       17/18                 Future                   Total
 $              -               -               -                -                     -           1,300,000               -                        -   $     1,300,000

Description:
Full depth reconstruction of Glenna Dr. from Houston Harte to Junius St., installation of sidewalks and ADA compliant curb ramps.




Supporting planning document(s):




                                                                                           Project Cost:                            Estimated           Project-to-Date
                                                                                           ROW/Easements/Land                                 -                       -
                                                                                           Design                                             -                       -
                                                                                           Construction                               1,300,000                       -
                                                                                           Other                                              -                       -

                                                                                           Total                                $     1,300,000         $             -

                 Insert a picture of your proposed project here.                           Project Schedule:                                                % Complete
                 Click on Insert in the menu bar, then Picture…                            Design:                                                                   0%
    then find picture in your files…       then double click picture to insert.            Implementation:                                                           0%




                                                                                           Funding Sources:                                                  Amount
                                                                                           Undetermined                                                 $     1,300,000




Operating Budget Impact if Completed:                                      13/14                   14/15       15/16                  16/17                   17/18
Reduce roadway maintenance                                            $            -                       -           -                        -                     -




Operating Budget Impact if NOT Completed:                                  13/14                   14/15       15/16                  16/17                   17/18
                                                                      $            -                       -           -                        -                     -




Performance Measures:
Improve ride quality, provide ADA compliant handicap access, provide pedestrian amenities and reduce future maintenance costs.


Notes:




Present Value of Future Cash Flows
  Completing Project $1,205,658
  Not Completing Project Undetermined

Location of Project (provide at least one of the following locators for each project location):
Address:                                       Street Address                              City                                                     State
                            1) Glenna Drive                                   San Angelo                                         Texas




                                                                              18
City of San Angelo, Texas
                                        2013-2018 Capital Improvement Plan
                            Reconstruction of Main St. from 19th St. to 26th St.
Responsible Dept:                   Engineering Services                                    Project Manager:                   Clinton Bailey

Financial Plan:
      Prior           Budget                                              Projected
     Years            12/13             13/14           14/15              15/16                   16/17           17/18             Future                   Total
 $              -               -               -                -                     -                       -   1,800,000                        -   $     1,800,000

Description:
Full depth reconstruction of Main St. from 19th St. to 26th St., installation of sidewalks and ADA compliant curb ramps.




Supporting planning document(s):




                                                                                           Project Cost:                            Estimated           Project-to-Date
                                                                                           ROW/Easements/Land                                 -                       -
                                                                                           Design                                             -                       -
                                                                                           Construction                               1,800,000                       -
                                                                                           Other                                              -                       -

                                                                                           Total                                $     1,800,000         $             -

                 Insert a picture of your proposed project here.                           Project Schedule:                                                % Complete
                 Click on Insert in the menu bar, then Picture…                            Design:                                                                   0%
    then find picture in your files…       then double click picture to insert.            Implementation:                                                           0%




                                                                                           Funding Sources:                                                  Amount
                                                                                           Undetermined                                                 $     1,800,000




Operating Budget Impact if Completed:                                      13/14                   14/15           15/16              16/17                   17/18
Reduce roadway maintenance                                            $            -                       -               -                    -                     -




Operating Budget Impact if NOT Completed:                                  13/14                   14/15           15/16              16/17                   17/18
                                                                      $            -                       -               -                    -                     -




Performance Measures:
Improve ride quality, provide ADA compliant handicap access, provide pedestrian amenities and reduce future maintenance costs.


Notes:




Present Value of Future Cash Flows
  Completing Project $1,638,246
  Not Completing Project Undetermined

Location of Project (provide at least one of the following locators for each project location):
Address:                                       Street Address                              City                                                     State
                            1) Main Street                                    San Angelo                                         Texas




                                                                              19
City of San Angelo, Texas
                                        2013-2018 Capital Improvement Plan
                          Reconstruction of MLK Blvd. from 25th St. to 29th St.
Responsible Dept:                   Engineering Services                                Project Manager:                       Clinton Bailey

Financial Plan:
      Prior           Budget                                              Projected
     Years            12/13             13/14           14/15              15/16               16/17           17/18                 Future                   Total
 $              -               -               -                -         2,500,000                       -               -                        -   $     2,500,000

Description:
Full depth reconstruction of MLK Blvd. from 25th St. to 29th St., installation of sidewalks and ADA compliant curb ramps.




Supporting planning document(s):




                                                                                       Project Cost:                                Estimated           Project-to-Date
                                                                                       ROW/Easements/Land                                           -                 -
                                                                                       Design                                                       -                 -
                                                                                       Construction                                                 -                 -
                                                                                       Other                                                        -                 -

                                                                                       Total                                    $                   -   $             -

                 Insert a picture of your proposed project here.                       Project Schedule:                                                    % Complete
                 Click on Insert in the menu bar, then Picture…                        Design:                                                                       0%
    then find picture in your files…       then double click picture to insert.        Implementation:                                                               0%




                                                                                       Funding Sources:                                                      Amount
                                                                                       Undetermined                                                     $     2,500,000




Operating Budget Impact if Completed:                                      13/14               14/15           15/16                  16/17                   17/18
Reduce roadway maintenance                                            $            -                   -               -                        -                     -




Operating Budget Impact if NOT Completed:                                  13/14               14/15           15/16                  16/17                   17/18
                                                                      $            -                   -               -                        -                     -




Performance Measures:
Improve ride quality, provide ADA compliant handicap access, provide pedestrian amenities and reduce future maintenance costs.


Notes:




Present Value of Future Cash Flows
  Completing Project $2,362,748
  Not Completing Project Undetermined

Location of Project (provide at least one of the following locators for each project location):
Address:                                       Street Address                              City                                                     State
                            1) Martin Luther King Blvd.                       San Angelo                                         Texas




                                                                              20
City of San Angelo, Texas
                                        2013-2018 Capital Improvement Plan
         Reconstruction of Southwest Blvd from Sunset South to Railroad Tracks
Responsible Dept:                   Engineering Services                                    Project Manager:                       Clinton Bailey

Financial Plan:
      Prior           Budget                                              Projected
     Years            12/13             13/14           14/15              15/16                   16/17           17/18                 Future                   Total
 $              -               -               -      6,500,000                       -                       -               -                        -   $     6,500,000

Description:
Full depth reconstruction of Southwest Blvd from Sunset south to railroad tracks, installation of sidewalks and ADA compliant curb ramps.




Supporting planning document(s):




                                                                                           Project Cost:                                Estimated           Project-to-Date
                                                                                           ROW/Easements/Land                                     -                       -
                                                                                           Design                                                 -                       -
                                                                                           Construction                                   6,500,000                       -
                                                                                           Other                                                  -                       -

                                                                                           Total                                    $     6,500,000         $             -

                 Insert a picture of your proposed project here.                           Project Schedule:                                                    % Complete
                 Click on Insert in the menu bar, then Picture…                            Design:                                                                       0%
    then find picture in your files…       then double click picture to insert.            Implementation:                                                               0%




                                                                                           Funding Sources:                                                      Amount
                                                                                           Undetermined                                                     $     6,500,000




Operating Budget Impact if Completed:                                      13/14                   14/15           15/16                  16/17                   17/18
Reduce roadway maintenance                                            $            -                       -               -                        -                     -




Operating Budget Impact if NOT Completed:                                  13/14                   14/15           15/16                  16/17                   17/18
                                                                      $            -                       -               -                        -                     -




Performance Measures:
Improve ride quality, provide ADA compliant handicap access, provide pedestrian amenities and reduce future maintenance costs.


Notes:




Present Value of Future Cash Flows
  Completing Project $6,259,865
  Not Completing Project Undetermined

Location of Project (provide at least one of the following locators for each project location):
Address:                                       Street Address                              City                                                         State
                            1) Southwest Blvd                                 San Angelo                                             Texas




                                                                              21
City of San Angelo, Texas
                                         2013-2018 Capital Improvement Plan
                    Reconstruction of 29th St. from Bryant Blvd. to N. Chadbourne
Responsible Dept:                   Engineering Services                                    Project Manager:                   Clinton Bailey

Financial Plan:
      Prior           Budget                                              Projected
     Years            12/13             13/14           14/15              15/16                   16/17           17/18             Future                   Total
 $              -               -               -                -                     -                       -   2,500,000                        -   $     2,500,000

Description:
Full depth reconstruction of29th St. from Bryant Blvd. to 2018 N. Chadbourne, installation of sidewalks and ADA compliant curb ramps.




Supporting planning document(s):




                                                                                           Project Cost:                            Estimated           Project-to-Date
                                                                                           ROW/Easements/Land                                 -                       -
                                                                                           Design                                             -                       -
                                                                                           Construction                               2,500,000                       -
                                                                                           Other                                              -                       -

                                                                                           Total                                $     2,500,000         $             -

                 Insert a picture of your proposed project here.                           Project Schedule:                                                % Complete
                 Click on Insert in the menu bar, then Picture…                            Design:                                                                   0%
    then find picture in your files…       then double click picture to insert.            Implementation:                                                           0%




                                                                                           Funding Sources:                                                  Amount
                                                                                           Undetermined                                                 $     2,500,000




Operating Budget Impact if Completed:                                      13/14                   14/15           15/16              16/17                   17/18
Reduce roadway maintenance                                            $            -                       -               -                    -                     -




Operating Budget Impact if NOT Completed:                                  13/14                   14/15           15/16              16/17                   17/18
N/A                                                                   $            -                       -               -                    -                     -




Performance Measures:
Improve ride quality, provide ADA compliant handicap access, provide pedestrian amenities and reduce future maintenance costs.


Notes:




Present Value of Future Cash Flows
  Completing Project $2,275,342
  Not Completing Project Undetermined

Location of Project (provide at least one of the following locators for each project location):
Address:                                       Street Address                              City                                                     State
                            1) 29th Street                                    San Angelo                                         Texas




                                                                              22
City of San Angelo, Texas
                                        2013-2018 Capital Improvement Plan
                                                             Sealcoat Program
Responsible Dept:                  Engineering Services                                 Project Manager:               Clinton Bailey

Financial Plan:
      Prior           Budget                                              Projected
     Years            12/13            13/14            14/15              15/16               16/17       17/18             Future                   Total
                       663,000        1,800,000          600,000            600,000             600,000     600,000                            $      4,863,000

Description:
Sealcoat is the application of asphalt and aggregate over existing asphalt roadway surfaces for the purpose of sealing surface cracks for the
protection of the roadway foundation. The foundation of a roadway accounts for approximately 67% of the total cost of a roadway. Sealcoat is part
of the City's preventative maintenance program and must be done to realize the full useful life of existing asphalt roadways throughout the City.
Sealcoat should be applied to asphalt roadways at intervals not to exceed 8 years.




Supporting planning document(s):




                                                                                       Project Cost:                        Estimated          Project-to-Date
                                                                                       ROW/Easements/Land                             -                      -
                                                                                       Design                                         -                      -
                                                                                       Construction                           1,800,000                      -
                                                                                       Other                                          -                      -

                                                                                       Total                            $     1,800,000         $             -

                 Insert a picture of your proposed project here.                       Project Schedule:                                            % Complete
                 Click on Insert in the menu bar, then Picture…                        Design: February 2013                                               50%
    then find picture in your files…       then double click picture to insert.        Implementation: September 2013                                        0%




                                                                                       Funding Sources:                                              Amount
                                                                                       General Fund                                             $     1,800,000
                                                                                       Undetermined                                             $             -




Operating Budget Impact if Completed:                                      13/14               14/15       15/16              16/17                   17/18
Reduce routine maintenance costs associated with reparing             $            -                   -           -                    -                     -
cracks and potholes created by severe cracking




Operating Budget Impact if NOT Completed:                                  13/14               14/15       15/16              16/17                   17/18
Increase routine maintenance costs associated with                    $            -                   -           -                    -                     -
repairing cracks and potholes created by severe cracking




Performance Measures:
Improve ride quality, reduce future maintenance costs and extend the need for expensive long term reconstruction costs.


Notes:




Present Value of Future Cash Flows
  Completing Project $4,676,871
  Not Completing Project Undetermined

Location of Project (provide at least one of the following locators for each project location):
Address:                                       Street Address                              City                                             State
                            1) City Wide                                      San Angelo                                 Texas




                                                                             23
City of San Angelo, Texas
                                        2013-2018 Capital Improvement Plan
                                    Storm Water Quality Improvement Projects
Responsible Dept:                Engineering Services                               Project Manager:                   Clinton Bailey

Financial Plan:
      Prior          Budget                                           Projected
     Years            12/13           13/14          14/15             15/16               16/17          17/18              Future                   Total
 $              -      700,000       1,000,000       1,000,000         1,000,000           1,000,000      1,000,000          23,300,000        $     29,300,000

Description:
Construction of projects to address specific stormwater quality issues within major drainage-ways throughout San Angelo that have been identified
through the analysis and modeling of data collected by stormwater monitoring stations.




Supporting planning document(s):
City of San Angelo Stormwater Management Plan and associated City Council approved stormwater budget.


                                                                                   Project Cost:                            Estimated           Project-to-Date
                                                                                   ROW/Easements/Land                                 -                       -
                                                                                   Design                                             -                       -
                                                                                   Construction                              30,000,000                       -
                                                                                   Other                                              -                       -

                                                                                   Total                                $    30,000,000         $             -

 Insert a picture of your proposed project here.                Click on Insert in Project Schedule:                                                % Complete
  the menu bar, then Object…                  Click on the tab Create from File, Design:                                                                     0%
  then click Browse…           Browse to your picture, then click Insert and Ok. Implementation: 2013                                                        0%




                                                                                   Funding Sources:                                                  Amount
                                                                                   Future stormwater utility fee                                $    30,000,000




Operating Budget Impact if Completed:                                  13/14               14/15          15/16               16/17                   17/18
Operations and Maintenance                                        $      50,000              50,000          50,000              50,000                  50,000




Operating Budget Impact if NOT Completed:                              13/14               14/15          15/16               16/17                   17/18
No impact                                                         $            -                   -               -                    -                     -




Performance Measures:
A reduction in the measured levels of pollution within drainage ways and rivers throughout and downstream of San Angelo.


Notes:




Present Value of Future Cash Flows
 Completing Project $26,524,213
 Not Completing Project Undetermined

Location of Project (provide at least one of the following locators for each project location):
Address:                                         Street Address                               City                                          State
                             1) City wide                                       San Angelo                               Texas




                                                                          24
City of San Angelo, Texas
                                      2013-2018 Capital Improvement Plan
       Storm Water Quality Improvement Projects - Sunset Lake Improvements
Responsible Dept:                 Engineering Services                              Project Manager:                        Clinton Bailey

Financial Plan:
      Prior          Budget                                           Projected
     Years           12/13            13/14          14/15             15/16               16/17            17/18                 Future                   Total
 $              -             -                       700,000                                                           -                           $        700,000

Description:
Sunset Lake acts as a stormwater retention/detention pond. Sampling and analysis through the City's stormwater quality monitoring program has
resulted in the determination that stormwater discharges into Sunset Lake contain a significant amount of suspended solids (sediment) and
dissolved solids (primarily nitrogen and phosphorus from fertilizer). Sunset Lake is no longer efficient in removing these contaminants because
sediment deposits have caused it to become "silted in". Shallow water depth and nutrient rich water and sediment result in the lake becoming
covered with moss and other aquatic vegetation during the summer months. This vegetation uses all of the available oxygen in the water which has
resulted in several fish kills over the last several years and a continuous odor problem. The average depth of Sunset Lake is approximately four (4)
feet. This project would increase the depth of the lake to its original depth of approximately 8 feet and add components making more efficient at
removing contaminants from stormwater.

Supporting planning document(s):
City of San Angelo Stormwater Management Plan and associated City Council approved stormwater budget.


                                                                                   Project Cost:                                 Estimated          Project-to-Date
                                                                                   ROW/Easements/Land                                       -                     -
                                                                                   Design                                                   -                     -
                                                                                   Construction                                       700,000                     -
                                                                                   Other                                                    -                     -

                                                                                   Total                                     $        700,000        $             -

Insert a picture of your proposed project here.                Click on Insert
                                                                                Project Schedule:                                                        % Complete
 in the menu bar, then Object…                  Click on the tab Create from
                                                                                Design: 2013                                                                    10%
File, then click Browse…          Browse to your picture, then click Insert and
                                                                                Implementation: 2014                                                              0%
                                     Ok.



                                                                                   Funding Sources:                                                       Amount
                                                                                   Stormwater Utility Fee                                            $      700,000




Operating Budget Impact if Completed:                                  13/14               14/15            15/16                  16/17                   17/18
Cost associated with routine maintenance which includes           $            -                   -                -                        -                10,000
                                                                                                                                                              10 000
draining Sunset Lake and removing sediment and debris
every five years.


Operating Budget Impact if NOT Completed:                              13/14               14/15            15/16                  16/17                   17/18
Cost associated with removing vegetation debris from Sunset       $       5,000               5,000            5,000                   5,000                   5,000
Lake.




Performance Measures:
A reduction in the measured levels of pollution within drainage ways and rivers throughout and downstream of San Angelo.


Notes:
Design is being done in-house, therefore there is no separate cost estimate.




Present Value of Future Cash Flows
  Completing Project $683,241
  Not Completing Project $28,635

Location of Project (provide at least one of the following locators for each project location):
Address:                                       Street Address                              City                                                  State
                            1) Between Loop 306 and Sunset Dr./Huntington San Angelo                                          Texas
                            2) and Brook Hollow Ln.




                                                                          25
City of San Angelo, Texas
                                           2013-2018 Capital Improvement Plan
                       Remediation of Drainage Issue: West Ave. P at Bryant Blvd.
Responsible Division:                Stormwater                                                 Project Manager:                       Clinton Bailey

Financial Plan:
      Prior              Budget                                               Projected
     Years                12/13           13/14           14/15                15/16                   16/17           17/18                 Future                   Total
 $              -          700,000       1,300,000                    -                    -                       -               -                           $      2,000,000

Description:
During storm events, an excessive amount of street flow occurs across Bryant Blvd. flowing down Ave. P. The existing culverts under Bryant
discharge directly onto Ave. P, and after crossing Bryant, the flow continues to the east along Ave P, cuts through an alley between Ave P and Q, the
continues south in a channel between Irving St. and Chadbourne St. until in reaches the Red Arroyo. Remediation of this drainage problem consists of
the construction of drainage improvements including street re-grading, culvert modification and subsurface drainage system installation.




Supporting planning document(s):




                                                                                               Project Cost:                                Estimated           Project-to-Date
                                                                                               ROW/Easements/Land                                50,000                       -
                                                                                               Design                                                 -                       -
                                                                                               Construction                                   1,950,000                       -
                                                                                               Other                                                  -                       -

                                                                                               Total                                    $     2,000,000         $             -
                    Insert a picture of your proposed project here.
                    Click on Insert in the menu bar, then Object…
                                                                                               Project Schedule:                                                    % Complete
                           Click on the tab Create from File,
                                                                                               Design:                                                                    100%
                                  then click Browse…
                                                                                               Implementation:                                                               0%
                                 Browse to your picture,
                                then click Insert and Ok.


                                                                                               Funding Sources:                                                      Amount
                                                                                               General Fund                                                     $     2,000,000
                                                                                               Undetermined                                                     $             -




Operating Budget Impact if Completed:                                          13/14                   14/15           15/16                  16/17                   17/18
No impact                                                                 $            -                       -               -                        -                     -




Operating Budget Impact if NOT Completed:                                      13/14                   14/15           15/16                  16/17                   17/18
No impact                                                                 $            -                       -               -                        -                     -




Performance Measure:
Reduce flood hazards to protect property and the health, safety and welfare of the public.


Notes:




Present Value of Future Cash Flows
 Completing Project $1,975,761
 Not Completing Project Undetermined

Location of Project (provide at least one of the following locators for each project location):
Address:                                         Street Address                               City                                                          State
                             1) W. Ave. P at Bryant                             San Angelo                                               Texas




                                                                                  26
City of San Angelo, Texas
                                           2013-2018 Capital Improvement Plan
                                               Avenue D Water Line Replacement
Responsible Dept:                     Water Utilities                                   Project Manager:                     Robert Bluthardt

Financial Plan:
      Prior              Budget                                           Projected
     Years               12/13            13/14          14/15             15/16               16/17          17/18                Future                   Total
 $              -                 -         75,000         25,000             25,000                      -              -                        -   $       125,000

Description:
The water lines behind Officers' Row are ancient, possibly dating to the late 1800s! The water has poor pressure and a foul smell and objectionable
appearance. It poses long-term challenges to appliances and plumbing fixtures. Staff recommends a full replacement of the lines. These lines
serve several critical buildings that serve our VIP guests (OQ 1), our visitors (OQ 3 and OQ 4), our renters and events (OQ 8) and staff (OQ 2, OQ
7 & O Q 9).




Supporting planning document(s):




                                                                                       Project Cost:                              Estimated           Project-to-Date
                                                                                       ROW/Easements/Land                                    -                      -
                                                                                       Design                                                -                      -
                                                                                       Construction                                    125,000                      -
                                                                                       Other                                                 -                      -

                                                                                       Total                                  $        125,000        $             -
                    Insert a picture of your proposed project here.
                    Click on Insert in the menu bar, then Object…
                                                                                       Project Schedule:                                                  % Complete
                           Click on the tab Create from File,
                                                                                       Design:        1 month                                                      0%
                                  then click Browse…
                                                                                       Implementation 1 month                                                      0%
                                 Browse to your picture,
                                then click Insert and Ok.


                                                                                       Funding Sources:                                                    Amount
                                                                                       Water Fund                                                     $      125,000




Operating Budget Impact if Completed:                                      13/14               14/15          15/16                16/17                    17/18
Longer lasting hot water heaters and other appliances.                $       1,000               1,500          2,500                        -                     -
                                           materials,
Less expenses for chemicals and cleaning materials noted
by these figures.


Operating Budget Impact if NOT Completed:                                  13/14               14/15          15/16                16/17                    17/18
Potential expenses for interior appliances and fixtures;              $       1,500               2,000          2,500                        -                     -
loss of income from rental buildings due to poor public
perception of site


Performance Measures:
Increased Rentals; Fewer Complaints; Fewer Appliance/Fixture Replacements


Notes:
The fort board and staff have consistently ranked the water service and quality on this side of the fort as a major concern. The improved water
service is vital to the fort's success in ongoing programing and public service. It will also contribute to the better functioning of these structures.




Present Value of Future Cash Flows
  Completing Project $126,094
  Not Completing Project $5761

Location of Project (provide at least one of the following locators for each project location):
Address:                                       Street Address                              City                                                   State
                            1) 100 & 200 Block/ East Ave. D                   San Angelo                                       Texas




                                                                              27
City of San Angelo, Texas
                                              2013-2018 Capital Improvement Plan
                                       Automated Meter Reading System (AMR)
Responsible Dept:                  Water Utilities                                         Project Manager:                  Ricky Dickson

Financial Plan:
      Prior            Budget                                            Projected
     Years              12/13           13/14          14/15              15/16                   16/17          17/18             Future               Total
 $    3,750,000        1,300,000       1,250,000       1,250,000                      -                   -              -                    -   $     7,550,000

Description:
There are approximately 33,000 water meters in the City's water system. The existing meters will be replaced or upgraded with electronic meter
registering equipment. Meter readings will be transmitted automatically through a wireless network to the utility billing office. The system will eliminate
the need to manually read meters. Customer service will be improved by having timely and accurate meter information and leak detection monitoring
which can notify a customer automatically of unusual water usage. Existing meter readers will be reassigned to system maintenance in the distribution
system.



Supporting planning document(s):




                                                                                          Project Cost:                           Estimated       Project-to-Date
                                                                                          ROW/Easements/Land                                -                   -
                                                                                          Design                                            -                   -
                                                                                          Construction                              7,500,000          4,332,815
                                                                                          Other                                             -                   -

                                                                                          Total                               $     7,500,000     $     4,332,815
                  Insert a picture of your proposed project here.
                  Click on Insert in the menu bar, then Object…
                                                                                          Project Schedule:                                           % Complete
                         Click on the tab Create from File,
                                                                                          Design:
                                then click Browse…
                                                                                          Implementation: 2011                                                  65%
                               Browse to your picture,
                              then click Insert and Ok.


                                                                                          Funding Sources:                                             Amount
                                                                                          Water CIP Fund                                          $     7,500,000




Operating Budget Impact if Completed:                                     13/14                   14/15          15/16             16/17                17/18
Rreduction of two meter reader positions                             $     (44,000)                (45,000)       (46,000)             (46,000)            (46,000)




Operating Budget Impact if NOT Completed:                                 13/14                   14/15          15/16             16/17                17/18
No impact                                                            $            -




Performance Measure:
Meter readings will be obtained each month on a fixed date allowing for improved billing of the account.


Notes:
A total of 21,288 meters have been converted to AMR. 5,600 AMR units or in stock to be installed.




Present Value of Future Cash Flows
 Completing Project $3,515,993
 Not Completing Project Undetermined

Location of Project (provide at least one of the following locators for each project location):
Address:                                         Street Address                               City                                            State
                             1) City wide                                       San Angelo                                     Texas




                                                                             28
City of San Angelo, Texas
                                              2013-2018 Capital Improvement Plan
                                                      Clay Pipe Replacements
Responsible Dept:                 Water Utilities                                        Project Manager:                  Ricky Dickson

Financial Plan:
      Prior           Budget                                             Projected
     Years             12/13           13/14           14/15              15/16                 16/17       17/18                Future                   Total
 $    2,000,000         997,896       1,000,000        1,000,000          1,000,000             1,000,000   1,000,000            66,000,000        $     73,997,896

Description:
Clay sewer mains were the industry standard prior to the 1980's. It is a strong but brittle pipe which does not perform well with soil movement. Highly
susceptible to root intrusion, inflow, cracking and clogging. Traditional joints are not considered water or root proof. These mains are aging rapidly and
often fail causing overflows. These overflows are monitored by the TCEQ and EPA and environmental fines can be assessed. The program is a
continual capital replacement program in which aged and failing mains will be replaced on a condition and age priority.




Supporting planning document(s):




                                                                                        Project Cost:                           Estimated           Project-to-Date
                                                                                        ROW/Easements/Land                                -                       -
                                                                                        Design                                            -                       -
                                                                                        Construction                             74,000,000              2,000,000
                                                                                        Other                                             -                       -

                                                                                        Total                               $    74,000,000         $     2,000,000

                                                                                        Project Schedule:                                               % Complete
                                                                                        Design: In-house                                                      100%
                                                                                        Implementation: ongoing                                                  3%




                                                                                        Funding Sources:                                                 Amount
                                                                                        Water CIP Fund                                              $    74,000,000




Operating Budget Impact if Completed:                                     13/14                 14/15        15/16               16/17                    17/18
No impact                                                            $              -                   -              -                    -                     -




Operating Budget Impact if NOT Completed:                                 13/14                 14/15        15/16               16/17                    17/18
Increased cost for repairs to mains and manholes                     $      20,000                20,000          25,000             25,000                  25,000




Performance Measures:
Approximately 15,000 ft. of pipe will be replaced each year.


Notes:
Identification and selection of projects underway. First project was bid in 2010.




Present Value of Future Cash Flows
 Completing Project $64,673,971
 Not Completing Project $108,455

Location of Project (provide at least one of the following locators for each project location):
Address:                                         Street Address                               City                                              State
                             1) City wide                                       San Angelo                                   Texas




                                                                             29
City of San Angelo, Texas
                                             2013-2018 Capital Improvement Plan
                                                    Collector Main Replacements
Responsible Dept:                 Water Utilities                                     Project Manager:                      Ricky Dickson

Financial Plan:
      Prior           Budget                                            Projected
     Years             12/13           13/14          14/15              15/16               16/17          17/18                 Future                   Total
 $ 12,700,000         7,000,000       1,000,000       1,000,000          1,000,000           1,000,000                  -                        -   $    23,700,000

Description:
Replacement of aging and failing sewer collector mains. Sewer collector mains are generally larger than 12 inches in diameter and serve large areas
of the population. Many of these large aged lines are concrete. Concrete mains are highly susceptible to corrosive gases and the pipes degrade to
failure. Failure of these lines cause large service area disruptions and environmental fines can be substantial. This is a long term continual project.
As the aged mains are replaced, newer mains are aging to the point of potential failure. In addition, growth of the City places ever increasing loads on
these lines making the continued reliable service even more critical. As the City grows many of these mains will need to be replaced with larger mains
or additional mains to handle service loads.


Supporting planning document(s):
Wastewater collection system master plan


                                                                                     Project Cost:                               Estimated           Project-to-Date
                                                                                     ROW/Easements/Land                                    -                       -
                                                                                     Design                                                -                       -
                                                                                     Construction                                 23,700,000            12,700,000
                                                                                     Other                                                 -                       -

                                                                                     Total                                   $    23,700,000         $    12,700,000

                                                                                     Project Schedule:                                                   % Complete
                                                                                     Design: In-house                                                          100%
                                                                                     Implementation: 2011                                                       54%




                                                                                     Funding Sources:                                                     Amount
                                                                                     Wastewater CIP Fund                                             $    23,700,000




Operating Budget Impact if Completed:                                    13/14               14/15          15/16                 16/17                    17/18
No impact                                                           $            -                   -              -                        -                     -




Operating Budget Impact if NOT Completed:                                13/14               14/15          15/16                 16/17                    17/18
Increased repairs of old mains                                      $      15,000              15,000         20,000                  20,000                  20,000




Performance Measures:
About 10,000 ft of 42" main were installed under the 2007 contract and about 7,300 ft of 30" main was replaced in the 2010 contract.


Notes:
42" on Christoval Rd complete December 2008. 36" along Rio Concho Dr. were designed and bid in 2010.




Present Value of Future Cash Flows
 Completing Project $10,816,939
 Not Completing Project $84,819

Location of Project (provide at least one of the following locators for each project location):
Address:                                         Street Address                               City                                               State
                             1) 42" main-1800 Christoval Rd.                    San Angelo                                    Texas
                             2) 30' MAIN-1002 Rio Concho Dr.




                                                                            30
City of San Angelo, Texas
                                               2013-2018 Capital Improvement Plan
                                     Hickory Water Supply Development Phase I
Responsible Division:              Water Utilities                                          Project Manager:                       Ricky Dickson

Financial Plan:
      Prior           Budget                                              Projected
     Years             12/13            13/14           14/15              15/16                   16/17           17/18                 Future                Total
 $ 18,000,000        35,000,000       37,000,000       30,000,000                      -                       -               -                       -   $ 120,000,000

Description:
Development of the Hickory Water Supply will provide the city with an underground water supply. The project will be developed in three phases.
Phase I will begin in 2011 and be operational by 2014. It will consist of installation of pumps in 9 existing wells, construction of well field collector
pipelines, construction of a booster pump station at the well field, construction of about 60 miles of 30 inch transmission main from the well field to the
city and construction of a treatment facility.




Supporting planning document(s):




                                                                                           Project Cost:                               Estimated           Project-to-Date
                                                                                           ROW/Easements/Land                                    -                       -
                                                                                           Design                                       17,000,000            17,000,000
                                                                                           Construction                                103,000,000              1,000,000
                                                                                           Other                                                 -                       -

                                                                                           Total                                    $ 120,000,000          $    18,000,000
                  Insert a picture of your proposed project here.
                  Click on Insert in the menu bar, then Object…
                                                                                           Project Schedule:                                                   % Complete
                         Click on the tab Create from File,
                                                                                           Design: 2011                                                              100%
                                then click Browse…
                                                                                           Implementation:2013                                                          0%
                               Browse to your picture,
                              then click Insert and Ok.


                                                                                           Funding Sources:                                                     Amount
                                                                                           Water Fund                                                      $    94,500,000
                                                                                           Type B sales tax                                                $    25,500,000




Operating Budget Impact if Completed:                                      13/14                   14/15           15/16                 16/17                   17/18
Undetermined                                                          $            -                       -               -                       -                     -




Operating Budget Impact if NOT Completed:                                  13/14                   14/15           15/16                 16/17                   17/18
Undetermined                                                          $            -                       -               -                       -                     -




Performance Measure:
Phase I of the project will provide the city with 6 million gallons per day, about 6,700 acre-feet per year of water.


Notes:
Well field collector pipeline on existing wells is complete. 30 inch transmission main is 60% complete. Booster Pump Station is on schedule.




Present Value of Future Cash Flows
 Completing Project $100,201,794
 Not Completing Project Undetermined

Location of Project (provide at least one of the following locators for each project location):
Address:                                         Street Address                               City                                                     State
                             1)                                                 Melvin                                               Texas




                                                                              31
City of San Angelo, Texas
                                               2013-2018 Capital Improvement Plan
                                       High Service Pump Station Rehabilitation
Responsible Dept:                 Water Utilities                                         Project Manager:                     Ricky Dickson

Financial Plan:
      Prior           Budget                                            Projected
     Years             12/13           13/14           14/15             15/16                   16/17          17/18                Future                 Total
 $              -     3,950,000                 -               -                    -                      -              -                      -   $     3,950,000

Description:
The High Service Pump Station consists of 6 pumps which pump water from the Water Treatment Plant into the distribution system and tanks
throughout the City. This station is critical to the continual delivery of water to the citizens and customers of the City of San Angelo. Pumps 1 & 2 are
in a 1940's era station and the pumps have been in service since that time. Pumps 3 thru 6 were installed in the 1960's and have been replaced with
new pumps over the last 5 years. Pumps 1 and 2 need to be completely replaced and the electrical equipment on pumps 3 thru 6 needs to be
replaced.



Supporting planning document(s):




                                                                                         Project Cost:                              Estimated         Project-to-Date
                                                                                         ROW/Easements/Land                                   -                     -
                                                                                         Design                                               -                     -
                                                                                         Construction                                 3,950,000            2,961,233
                                                                                         Other                                                -                     -

                                                                                         Total                                  $     3,950,000       $     2,961,233

 Insert a picture of your proposed project here.                Click on Insert in Project Schedule:                                                      % Complete
  the menu bar, then Object…                  Click on the tab Create from File, Design:                                                                        100%
  then click Browse…           Browse to your picture, then click Insert and Ok. Implementation: 2012-2013                                                       75%




                                                                                         Funding Sources:                                                  Amount
                                                                                         Water CIP Fund                                               $     3,950,000




Operating Budget Impact if Completed:                                    13/14                   14/15          15/16                16/17                  17/18
No impact                                                           $            -




Operating Budget Impact if NOT Completed:                                13/14                   14/15          15/16                16/17                  17/18
Increased repairs to pumps and motor                                $      30,000                  30,000         30,000                 30,000                30,000




Performance Measures:
High Service Pump Station #1 is substantially complete. Replace electrical equipment on remaining pumps still remains to be completed.


Notes:




Present Value of Future Cash Flows
 Completing Project $3,950,000
 Not Completing Project Undetermined

Location of Project (provide at least one of the following locators for each project location):
Address:                                         Street Address                               City                                                State
                             1) 327 E. Ave I                                    San Angelo                                       Texas




                                                                            32
City of San Angelo, Texas
                                              2013-2018 Capital Improvement Plan
                                                     Lift Station Improvements
Responsible Dept:                  Water Utilities                                  Project Manager:                  Ricky Dickson

Financial Plan:
      Prior           Budget                                           Projected
     Years             12/13            13/14         14/15             15/16              16/17         17/18              Future                   Total
 $      320,000         200,000          200,000       200,000           200,000            200,000       200,000             200,000         $      1,720,000

Description:
The City of San Angelo has 48 lift stations and 151 grinder stations that it operates and maintains. Each year several stations are added based on City
growth. These pump stations are mostly mechanical and electrical in nature and operate in highly corrosive environments. The expected operating life
of pumps is 5 years and that is with consistent maintenance. This program is intended to continually replace pumps and electrical components for
continued reliable service. Failure of these systems affects regional areas of population and can result in sewer overflows and possible flooding of
customer facilities. The program will also include the addition of telemetry equipment at the lift stations to provide for 24 hour per day remote
monitoring of the lift stations for and alarms or problems.


Supporting planning document(s):
Wastewater collection system master plan


                                                                                   Project Cost:                           Estimated           Project-to-Date
                                                                                   ROW/Easements/Land                                -                       -
                                                                                   Design                                            -                       -
                                                                                   Construction                              1,720,000               320,000
                                                                                   Other                                             -                       -

                                                                                   Total                               $     1,720,000         $      320,000

                                                                                   Project Schedule:                                               % Complete
                                                                                   Design: In-house                                                      100%
                                                                                   Implementation: ongoing                                                20%




                                                                                   Funding Sources:                                                 Amount
                                                                                   Wastewater CIP Fund                                         $     1,720,000




Operating Budget Impact if Completed:                                  13/14               14/15         15/16              16/17                    17/18
No impact                                                          $           -                   -              -                    -                     -




Operating Budget Impact if NOT Completed:                              13/14               14/15         15/16              16/17                    17/18
Increased cost for maintenance of lift stations                    $      35,000             35,000          40,000             40,000                  40,000




Performance Measures:
Rehabilitation work will be done on about 3 stations each year.


Notes:
Continual capital replacement program for lift station pumps and electrical systems through out the year.




Present Value of Future Cash Flows
 Completing Project $1,324,049
 Not Completing Project $179,361

Location of Project (provide at least one of the following locators for each project location):
Address:                                         Street Address                               City                                         State
                             1) City wide                                       San Angelo                              Texas




                                                                          33
City of San Angelo, Texas
                                          2013-2018 Capital Improvement Plan
                                            Nasworthy Dam Emergency Spillway
Responsible Dept:                  Water Utilities                                       Project Manager:                       Ricky Dickson

Financial Plan:
      Prior           Budget                                           Projected
     Years             12/13            13/14        14/15              15/16                   16/17           17/18                 Future                   Total
 $              -              -                 -   2,000,000                      -                       -               -                        -   $     2,000,000

Description:
A portion of the earthen embankment section along the southern portion of Nasworthy Dam is designed to serve as an emergency spillway for the
dam. The emergency spillway consists of two lowered sections of the dam's embankment which would be overtopped when discharges occur. The
earthen spillways however do not have any protection from erosion of a discharge, the result which would be a wash out and failure of the dam
section. The spillways need to be modified to withstand overtopping flows with reinforced concrete paving and a 500 ft. diversion dike and channel
downstream of the dam to protect the downstream toe of the dam.



Supporting planning document(s):




                                                                                        Project Cost:                                Estimated           Project-to-Date
                                                                                        ROW/Easements/Land                                     -                       -
                                                                                        Design                                                 -                       -
                                                                                        Construction                                   2,000,000                       -
                                                                                        Other                                                  -                       -

                                                                                        Total                                    $     2,000,000         $             -

 Insert a picture of your proposed project here.                Click on Insert in Project Schedule:                                                         % Complete
  the menu bar, then Object…                  Click on the tab Create from File, Design:                                                                              0%
  then click Browse…           Browse to your picture, then click Insert and Ok. Implementation: 2013                                                                 0%




                                                                                        Funding Sources:                                                      Amount
                                                                                        Water CIP Fund                                                   $     2,000,000




Operating Budget Impact if Completed:                                   13/14                   14/15           15/16                 16/17                    17/18
No impact                                                          $            -                       -               -                        -                     -




Operating Budget Impact if NOT Completed:                               13/14                   14/15           15/16                 16/17                    17/18
No impact                                                          $            -                       -               -                        -                     -




Performance Measures:
Modification of the emergency spillways will bring the facility into compliance with TCEQ dam design standards.


Notes:




Present Value of Future Cash Flows
 Completing Project $1,926,112
 Not Completing Project Undetermined

Location of Project (provide at least one of the following locators for each project location):
Address:                                         Street Address                               City                                                   State
                             1) 1900 Beaty Rd.                                  San Angelo                                        Texas




                                                                           34
City of San Angelo, Texas
                                           2013-2018 Capital Improvement Plan
                                                 Nasworthy Dam Stop Log System
Responsible Dept:                   Water Utilities                                  Project Manager:                       Ricky Dickson

Financial Plan:
      Prior           Budget                                            Projected
     Years             12/13             13/14         14/15             15/16              16/17           17/18                 Future                   Total
 $              -               -                 -             -         750,000                       -               -                        -   $       750,000

Description:
Stop logs are a gate system that is used to isolate a radial gate on the dam for servicing or to stop water discharge through the gate bay in the event of
a failure of a radial gate. The dam currently has a full length slide gate which is installed in the gate bay to isolate a gate. The slide gate must be
moved by a large crane from the downstream side of the dam and can only be installed when the radial gate is closed. With this system, there is no
way to install a stop gate when water is flowing through a radial gate bay. A new stop log system is needed whereby the stop logs can be installed
from the bridge deck with flow going through the gate bay.



Supporting planning document(s):




                                                                                    Project Cost:                                Estimated           Project-to-Date
                                                                                    ROW/Easements/Land                                      -                      -
                                                                                    Design                                                  -                      -
                                                                                    Construction                                      750,000                      -
                                                                                    Other                                                   -                      -

                                                                                    Total                                    $        750,000        $             -

 Insert a picture of your proposed project here.                Click on Insert in Project Schedule:                                                     % Complete
  the menu bar, then Object…                  Click on the tab Create from File, Design:                                                                          0%
  then click Browse…           Browse to your picture, then click Insert and Ok. Implementation: 2013                                                             0%




                                                                                    Funding Sources:                                                      Amount
                                                                                    Water CIP Fund                                                   $      750,000




Operating Budget Impact if Completed:                                   13/14               14/15           15/16                 16/17                    17/18
No impact                                                           $           -                   -               -                        -                     -




Operating Budget Impact if NOT Completed:                               13/14               14/15           15/16                 16/17                    17/18
No impact                                                           $           -                   -               -                        -                     -




Performance Measures:
The stop log system will allow a gate on the dam to be isolated in an emergency situation


Notes:




Present Value of Future Cash Flows
 Completing Project $708,824
 Not Completing Project Undetermined

Location of Project (provide at least one of the following locators for each project location):
Address:                                         Street Address                               City                                               State
                             1) 1900 Beaty Rd.                                  San Angelo                                    Texas




                                                                           35
City of San Angelo, Texas
                                         2013-2018 Capital Improvement Plan
                                               Lake Nasworthy Gate Operators
Responsible Dept:                 Water Utilities                                         Project Manager:                       Ricky Dickson

Financial Plan:
      Prior           Budget                                            Projected
     Years             12/13           13/14           14/15             15/16                   16/17           17/18                 Future                   Total
 $              -     1,034,000       2,216,000                 -                    -                       -               -                        -   $     3,250,000

Description:
Nasworthy Dam has 15 radial gates that are used to release flood waters through the dam. The gates are operated by two mobile operators that are
mounted on carts which are pulled between gates. The operators are original equipment from when the dam was constructed in 1929. The average
time to set up, open a gate and move to the next gate is 25 minutes. Based on the gate operating time needed to pass the probable maximum local
flood for the reservoir, the current operating speed is not adequate to keep floodwaters from overtopping the gates. The proposed project will install a
permanent operating winch on each gate. This will allow multiple gates to be operated within the time needed to pass the design flood. The
improvements will bring the gate operations into compliance with TCEQ dam regulations.


Supporting planning document(s):




                                                                                         Project Cost:                                Estimated           Project-to-Date
                                                                                         ROW/Easements/Land                                     -                       -
                                                                                         Design                                                 -                       -
                                                                                         Construction                                   3,250,000                       -
                                                                                         Other                                                  -                       -

                                                                                         Total                                    $     3,250,000         $             -

 Insert a picture of your proposed project here.                Click on Insert in Project Schedule:                                                          % Complete
  the menu bar, then Object…                  Click on the tab Create from File, Design: 2013                                                                          0%
  then click Browse…           Browse to your picture, then click Insert and Ok. Implementation: 2014                                                                  0%




                                                                                         Funding Sources:                                                      Amount
                                                                                         Water CIP Fund                                                   $     3,250,000




Operating Budget Impact if Completed:                                    13/14                   14/15           15/16                 16/17                    17/18
No impact                                                           $            -                       -               -                        -                     -




Operating Budget Impact if NOT Completed:                                13/14                   14/15           15/16                 16/17                    17/18
No impact                                                           $            -                       -               -                        -                     -




Performance Measures:
Replacement of the gate operators will bring the facility into compliance with TCEQ regulations.


Notes:




Present Value of Future Cash Flows
 Completing Project $3,208,681
 Not Completing Project Undetermined

Location of Project (provide at least one of the following locators for each project location):
Address:                                         Street Address                               City                                                    State
                             1) 1900 Beaty Rd.                                  San Angelo                                         Texas




                                                                            36
City of San Angelo, Texas
                                                2013-2018 Capital Improvement Plan
                                          Transmission Line Valves Replacement
Responsible Dept:                   Water Utilities                                   Project Manager:                       Ricky Dickson

Financial Plan:
      Prior            Budget                                            Projected
     Years              12/13            13/14            14/15           15/16              16/17           17/18                 Future                   Total
 $    1,650,000          500,000          500,000          500,000         500,000                       -               -                        -   $     3,650,000

Description:
This project is the replacement of aged and failing transmission valves. Transmission lines are larger than 16" and serve large areas of the population.
Valves on these lines are rarely used and have not been routinely exercised. Older valves utilized steel discs and seats and are highly susceptible to
corrosion. Deposits in the seats and on the discs prevent the valves from seating and degradation of the steel slides and gates cause valves to seize
or bind and break. Continual maintenance and replacement of valves over the long term is required to maintain a consistent and reliable system.




Supporting planning document(s):




                                                                                     Project Cost:                                Estimated           Project-to-Date
                                                                                     ROW/Easements/Land                                     -                       -
                                                                                     Design                                                 -                       -
                                                                                     Construction                                   3,650,000              1,650,000
                                                                                     Other                                                  -                       -

                                                                                     Total                                    $     3,650,000         $     1,650,000

 Insert a picture of your proposed project here.                Click on Insert in Project Schedule:                                                      % Complete
  the menu bar, then Object…                  Click on the tab Create from File, Design: 2010                                                                   100%
  then click Browse…           Browse to your picture, then click Insert and Ok. Implementation: 2011                                                            45%




                                                                                     Funding Sources:                                                      Amount
                                                                                     Water CIP Fund                                                   $     3,650,000




Operating Budget Impact if Completed:                                    13/14               14/15           15/16                 16/17                    17/18
No impact                                                            $           -                   -               -                        -                     -




Operating Budget Impact if NOT Completed:                                13/14               14/15           15/16                 16/17                    17/18
Additional time and resources to isolate pipe segments               $      15,000             20,000          20,000                         -                     -
for repair of leaks and water shut off to large areas of the city




Performance Measures:
Valves are to be replaced annually.


Notes:
22 valves were replaced in the 2008 contract.




Present Value of Future Cash Flows
 Completing Project $1,944,755
 Not Completing Project $52,883

Location of Project (provide at least one of the following locators for each project location):
Address:                                         Street Address                               City                                                State
                             1) Various sites in SMD 1,2,3,4,5,6                San Angelo                                     Texas




                                                                            37
City of San Angelo, Texas
                                              2013-2018 Capital Improvement Plan
                                                            Transmission Mains
Responsible Dept:                  Water Utilities                                   Project Manager:                   Ricky Dickson

Financial Plan:
      Prior           Budget                                           Projected
     Years             12/13            13/14         14/15             15/16               16/17       17/18                 Future                   Total
 $    5,640,000                -       5,100,000      5,300,000         6,000,000           6,150,000               -                        -   $    28,190,000

Description:
Replacement and upgrade of transmission mains. These mains are larger than 16" in size and serve large areas of the populations. Reliable and
continued service is required to move water from the plant to the tanks and pump stations throughout the City. Projects are planned as follows: 2006:
Phase I-Southwest Feeder Transmission Main, $4,500,000; 2008: Ave I Main from Metcalfe to Chadbourne $1,140,000;
2010: Ave. I Transmission Main Replacement from Chadbourne to Bryant Blvd, $1,600,000
2012: 20" Ave. K Transmission Main, $3,500,000
Future Projects: 2014: Phase II-Southwest Feeder Transmission Main, $5,300,000; 2016: North Transmission Main Improvements, $6,000,000.
Upper plane transmission mains which serve the highest growth areas will likely begin requiring upgrades by the 2017 timeframe, $6,150,000.

Supporting planning document(s):
Water System Master Plan


                                                                                    Project Cost:                            Estimated           Project-to-Date
                                                                                    ROW/Easements/Land                                 -                       -
                                                                                    Design                                             -                       -
                                                                                    Construction                              28,190,000              5,640,000
                                                                                    Other                                              -                       -

                                                                                    Total                                $    28,190,000         $     5,640,000

 Insert a picture of your proposed project here.                Click on Insert in Project Schedule:                                                 % Complete
  the menu bar, then Object…                  Click on the tab Create from File, Design:
  then click Browse…           Browse to your picture, then click Insert and Ok. Implementation: 2011                                                          20%




                                                                                    Funding Sources:                                                  Amount
                                                                                    Water CIP Fund                                               $    28,190,000




Operating Budget Impact if Completed:                                   13/14               14/15       15/16                 16/17                    17/18
No impact                                                         $             -                   -           -                        -                        -




Operating Budget Impact if NOT Completed:                               13/14               14/15       15/16                 16/17                    17/18
Increased repairs to existing mains and more interruption         $       30,000              35,000      40,000                  40,000                  40,000
of service to large areas of the city due to the leaks.




Performance Measures:
Approximately 5,600 ft of 20" water main are planned to be replaced.


Notes:
2006 Southwest Feeder Main complete and placed in service January 15, 2008. Ave I main replacement work complete in 2009.
Project % Completion: Southwest Feeder Phase I (100%); Ave I (0%); Ave K (0%); Southwest Feeder Phase II (0%); North (0%); Upper Plane (0%)




Present Value of Future Cash Flows
 Completing Project $21,891,876
 Not Completing Project $174,454

Location of Project (provide at least one of the following locators for each project location):
Address:                                         Street Address                               City                                           State
                             1) 100 Ave I                                       San Angelo                                Texas




                                                                           38
City of San Angelo, Texas
                                           2013-2018 Capital Improvement Plan

                                         Twin Buttes Eco-System Restoration
Responsible Dept:                Water Utilities                                         Project Manager:                       Ricky Dickson

Financial Plan:
      Prior           Budget                                           Projected
     Years            12/13           13/14           14/15             15/16                   16/17           17/18                 Future                   Total
 $      900,000        100,000                                 -                    -                       -               -                        -   $     1,000,000

Description:
The project will provide for the removal of invasive brush in the lake basin. The project consists of the removal of 3,900 acres of salt cedar & willow
baccharis and 5,600 acres of mesquite.




Supporting planning document(s):




                                                                                        Project Cost:                                Estimated           Project-to-Date
                                                                                        ROW/Easements/Land                                     -                       -
                                                                                        Design                                                 -                       -
                                                                                        Construction                                     800,000               700,000
                                                                                        Other                                            200,000               200,000

                                                                                        Total                                    $     1,000,000         $       900,000

Insert a picture of your proposed project here.                Click on Insert
                                                                                Project Schedule:                                                            % Complete
 in the menu bar, then Object…                  Click on the tab Create from
                                                                                Design:
File, then click Browse…          Browse to your picture, then click Insert and
                                                                                Implementation: 2013                                                                   90%
                                     Ok.



                                                                                        Funding Sources:                                                      Amount
                                                                                        Water CIP Fund                                                   $      225,000
                                                                                        Water Operating                                                  $      375,000
                                                                                        State Soil and Water Board                                       $      400,000


Operating Budget Impact if Completed:                                   13/14                   14/15           15/16                 16/17                    17/18
No impact                                                          $            -                       -               -                        -                        -




Operating Budget Impact if NOT Completed:                               13/14                   14/15           15/16                 16/17                    17/18
No impact                                                          $            -                       -               -                        -                        -




Performance Measures:
Approximately 9,500 acres will be cleared of invasive brush in the reservoir basin.


Notes:
Initial work began in 2010 with be spraying of salt cedar in the upper reaches of the reservoir. Each year additional areas will be sprayed
proceeding down through the basin to the dam.




Present Value of Future Cash Flows
  Completing Project $100,000
  Not Completing Project Undetermined

Location of Project (provide at least one of the following locators for each project location):
Address:                                       Street Address                              City                                                      State
                            1) 6 miles Southwest of San Angelo                San Angelo                                         Texas




                                                                           39
City of San Angelo, Texas
                                                2013-2018 Capital Improvement Plan
                             Water Billing and Customer Service Office Remodeling
Responsible Division:                Water Utilities                                            Project Manager:                       Ricky Dickson

Financial Plan:
      Prior              Budget                                               Projected
     Years                12/13           13/14           14/15                15/16                   16/17           17/18                 Future                   Total
 $              -          500,000         500,000                    -                    -                       -               -                        -   $     1,000,000

Description:
Remodel the existing building to provide for a modern work environment by replacing electrical wiring, restrooms, new work areas for customer service
representatives and billing personnel, exterior repairs and painting, handicapped accessibly entrance, increased security for cash collections.




Supporting planning document(s):




                                                                                               Project Cost:                                Estimated           Project-to-Date
                                                                                               ROW/Easements/Land                                      -                      -
                                                                                               Design                                            100,000                      -
                                                                                               Construction                                      900,000                      -
                                                                                               Other                                                   -                      -

                                                                                               Total                                    $     1,000,000         $             -
                    Insert a picture of your proposed project here.
                    Click on Insert in the menu bar, then Object…
                                                                                               Project Schedule:                                                    % Complete
                           Click on the tab Create from File,
                                                                                               Design: 2013                                                                  0%
                                  then click Browse…
                                                                                               Implementation: end-2014                                                      0%
                                 Browse to your picture,
                                then click Insert and Ok.


                                                                                               Funding Sources:                                                      Amount
                                                                                               Water CIP Fund                                                   $     1,000,000




Operating Budget Impact if Completed:                                          13/14                   14/15           15/16                 16/17                    17/18
Undetermined                                                              $            -                       -               -                        -                     -




Operating Budget Impact if NOT Completed:                                      13/14                   14/15           15/16                 16/17                    17/18
Undetermined                                                              $            -                       -               -                        -                     -




Performance Measure:
20 employees currently occupy the building. This will create a better working environment for these employees that assist in approximately 50,000 call-
ins a year. Remodeling the building will also impact the 30,000 walk-in customers that access the building annually.

Notes:
The facility will be evaluated for remodeling or replacement. Construction planned for the end of 2014.




Present Value of Future Cash Flows
 Completing Project $990,677
 Not Completing Project Undetermined

Location of Project (provide at least one of the following locators for each project location):
Address:                                         Street Address                               City                                                          State
                             1) 122 W. 1st St.                                  San Angelo                                               Texas




                                                                                  40
City of San Angelo, Texas
                                             2013-2018 Capital Improvement Plan
                                                     Water Main Replacements
Responsible Dept:                 Water Utilities                                    Project Manager:               Ricky Dickson

Financial Plan:
      Prior           Budget                                           Projected
     Years             12/13           13/14          14/15             15/16               16/17       17/18             Future                   Total
 $ 15,731,509         1,300,000       1,300,000       1,300,000         1,300,000           1,300,000   1,300,000         29,230,000        $     52,761,509

Description:
This is an ongoing water mains replacement program initiated in 2001 with priority replacement of 2" mains throughout the City. The 2" main
replacement program is continuing with primary emphasis until the 2011-2012 time frame. Gradually the emphasis will be moving to rusty water mains
and aged cast iron mains. Since 2001: 334,000 feet of 2" mains replaced. 90,000 feet of 2" mains remaining. Cast iron and rusty mains: 470,000 feet
of mains to replace at projected cost of $30,930,000. This is a continuous capital requirement for rehabilitation and replacement of aging distribution
systems. As systems are replaced, other sections are aging to the point of need for replacement.



Supporting planning document(s):




                                                                                    Project Cost:                        Estimated           Project-to-Date
                                                                                    ROW/Easements/Land                             -                       -
                                                                                    Design                                         -                       -
                                                                                    Construction                          52,761,509            15,731,509
                                                                                    Other                                          -                       -

                                                                                    Total                            $    52,761,509         $    15,731,509

 Insert a picture of your proposed project here.                Click on Insert in Project Schedule:                                             % Complete
  the menu bar, then Object…                  Click on the tab Create from File, Design: In-House                                                      100%
  then click Browse…           Browse to your picture, then click Insert and Ok. Implementation: 2001/ongoing                                           30%




                                                                                    Funding Sources:                                              Amount
                                                                                    Water CIP Fund                                           $    52,761,509




Operating Budget Impact if Completed:                                   13/14               14/15       15/16             16/17                    17/18
No impact                                                          $            -                   -           -                    -                     -




Operating Budget Impact if NOT Completed:                               13/14               14/15       15/16             16/17                    17/18
Increased cost for repairs to mains and additional                 $      30,000              35,000       35,000            35,000                   35,000
flushing of mains to maintain water quality.




Performance Measures:
Approximately 15,000 ft of mains will be replace each year.


Notes:
This is an ongoing capital maintenance program.




Present Value of Future Cash Flows
 Completing Project $33,552,460
 Not Completing Project $160,541

Location of Project (provide at least one of the following locators for each project location):
Address:                                         Street Address                               City                                       State
                             1) Various locations in SMD 1,2,3,4,5,6            San Angelo                           Texas




                                                                           41
City of San Angelo, Texas
                                          2013-2018 Capital Improvement Plan
                                         Water Reclamation Plant Improvements
Responsible Dept:                  Water Utilities                                     Project Manager:                  Ricky Dickson

Financial Plan:
      Prior            Budget                                             Projected
     Years              12/13           13/14              14/15           15/16              16/17         17/18              Future                   Total
 $      400,000          200,000         200,000            200,000         200,000            200,000       200,000             200,000         $      1,800,000

Description:
The Water Reclamation Facility treats all of the wastewater from the City of San Angelo and delivers to irrigation. The operating environment for
wastewater treatment is harsh on all systems including mechanical, electrical and concrete. There are hundreds of mechanical systems in the plant
including pumps, clarifiers, air scrubbers, sludge belts, blowers, heat exchangers and more. Most of these systems need some type of major repair or
replacement every 5 years. Concrete walls of basins and equipment are subject to corrosive properties present at wastewater plants and need repair
and rehabilitation every 5 to 6 years. This program schedules funding to facilitate repair, rehabilitation or replacement on a condition and critical priority
basis.


Supporting planning document(s):




                                                                                      Project Cost:                           Estimated           Project-to-Date
                                                                                      ROW/Easements/Land                                -                       -
                                                                                      Design                                            -                       -
                                                                                      Construction                              1,800,000               400,000
                                                                                      Other                                             -                       -

                                                                                      Total                               $     1,800,000         $      400,000

                                                                                      Project Schedule:                                               % Complete
                                                                                      Design: In-house                                                      100%
                                                                                      Implementation: ongoing                                                22%




                                                                                      Funding Sources:                                                 Amount
                                                                                      Wastewater CIP Fund                                         $     1,800,000




Operating Budget Impact if Completed:                                     13/14               14/15         15/16              16/17                    17/18
No impact                                                             $           -                   -              -                    -                     -




Operating Budget Impact if NOT Completed:                                 13/14               14/15         15/16              16/17                    17/18
Increased costs to repair in the future due to continual              $     100,000            100,000        150,000              150,000                150,000
deterioration of facilities




Performance Measures:
Repairs to various structures and mechanical equipment with a life expectancy of 10 years.


Notes:




Present Value of Future Cash Flows
 Completing Project $1,324,049
 Not Completing Project $611,841

Location of Project (provide at least one of the following locators for each project location):
Address:                                         Street Address                               City                                            State
                             1) 1898 City Farm Rd.                              San Angelo                                 Texas




                                                                             42
City of San Angelo, Texas
                                          2013-2018 Capital Improvement Plan
                                                 WTP Equipment Improvements
Responsible Dept:                  Water Utilities                                       Project Manager:               Ricky Dickson

Financial Plan:
      Prior            Budget                                              Projected
     Years              12/13           13/14            14/15              15/16              16/17        17/18              Future                   Total
 $      500,000          300,000         200,000          400,000            200,000            200,000      200,000             200,000         $      2,200,000

Description:
Rehabilitation and replacement of aging water treatment plant equipment based on condition, age and criticality. Equipment includes items such as
flocculator mechanisms, clarifier mechanisms, filters, plant valves and other plant operation mechanisms.




Supporting planning document(s):




                                                                                       Project Cost:                          Estimated           Project-to-Date
                                                                                       ROW/Easements/Land                               -                       -
                                                                                       Design                                           -                       -
                                                                                       Construction                             2,200,000               500,000
                                                                                       Other                                            -                       -

                                                                                       Total                              $     2,200,000         $      500,000

 Insert a picture of your proposed project here.                Click on Insert in Project Schedule:                                                  % Complete
  the menu bar, then Object…                  Click on the tab Create from File, Design: 2010                                                               100%
  then click Browse…           Browse to your picture, then click Insert and Ok. Implementation: ongoing                                                     23%




                                                                                       Funding Sources:                                                Amount
                                                                                       Water CIP Fund                                             $     2,200,000




Operating Budget Impact if Completed:                                      13/14               14/15        15/16              16/17                    17/18
No impact                                                              $           -                   -            -                     -                     -




Operating Budget Impact if NOT Completed:                                  13/14               14/15        15/16              16/17                    17/18
Increased maintenance of equipment and eventual shut down              $      25,000             35,000       50,000              50,000                   50,000
of equipment when it can no longer be repaired




Performance Measures:
Control valves, clarifier equipment and electrical equipment will be replaced with a life expectancy of about 20 years.


Notes:
Projects include work on control valves and electrical service in the filter building.




Present Value of Future Cash Flows
 Completing Project $1,616,660
 Not Completing Project Undetermined

Location of Project (provide at least one of the following locators for each project location):
Address:                                         Street Address                               City                                            State
                             1) 327 E Ave I                                     San Angelo                                Texas




                                                                              43
City of San Angelo, Texas
                                               2013-2018 Capital Improvement Plan
                              Wastewater Service to Existing Developed Areas
Responsible Dept:                Water Utilities                                         Project Manager:                       Ricky Dickson

Financial Plan:
      Prior          Budget                                           Projected
     Years            12/13            13/14         14/15             15/16                    16/17           17/18                 Future                   Total
 $    3,000,000      1,200,000                  -             -                     -                       -               -         13,000,000        $     17,200,000

Description:
Some areas of the City do not have wastewater service. To establish service to the areas may require construction of new collector mains, service
mains and lift stations. The estimated cost to provide service to the following areas is as listed below.




Supporting planning document(s):




                                                                                        Project Cost:                                Estimated           Project-to-Date
      No.                    Area                      Estimated Cost
                                                                                        ROW/Easements/Land                                     -                       -
                                                                                        Design                                                 -                       -
       1                 Green Acres                     $3.0 Million                   Construction                                  17,000,000              3,000,000
                                                                                        Other                                                  -                       -
       2            Mercedes & Townview                   $500,000
                                                                                        Total                                    $    17,000,000         $     3,000,000
       3                  Red Bluff                      $2.0 Million

       4          Country Club Lake Estates              $2.0 Million                   Project Schedule:                                                    % Complete
                                                                                        Design: In-house                                                           100%
                                                                                        Implementation: 2010                                                        18%
       5             Country Club Road                   $3.5 Million

       6                 Butler Farm                     $2.0Million
                                                                                        Funding Sources:                                                      Amount
       7                 Los Lomas                       $2.0 Million                   Wastewater CIP Fund                                              $    17,000,000

     Total                                              $15.0 Million


Operating Budget Impact if Completed:                                   13/14                   14/15           15/16                 16/17                    17/18
Increased revenue from new wastewater customers                   $             -                       -               -                        -                     -




Operating Budget Impact if NOT Completed:                               13/14                   14/15           15/16                 16/17                    17/18
Lost revenue from residents not on City wastewater                $             -                       -               -                        -                     -




Performance Measures:
Provide municipal wastewater service to residents that currently have on site wastewater disposal systems.


Notes:
Extension of wastewater service to the Red Bluff area to complete the sewer collection system at Lake Nasworthy planned to begin in 2013




Present Value of Future Cash Flows
 Completing Project $12,811,167
 Not Completing Project Undetermined

Location of Project (provide at least one of the following locators for each project location):
Address:                                         Street Address                               City                                                   State
                             1) Various locations in SMD 1,2,6                  San Angelo                                        Texas




                                                                           44
City of San Angelo, Texas
                                               2013-2018 Capital Improvement Plan
                                  Replace School Zone and Crosswalk Equipment
Responsible Dept:                   Traffic Operations                                 Project Manager:                     Shane Kelton

Financial Plan:
      Prior             Budget                                           Projected
     Years               12/13          13/14            14/15            15/16               16/17          17/18                Future                Total
 $        68,000           18,000         18,000           18,000            18,000              18,000                 -                        $        158,000

Description:
Replace crosswalk signs with the bright yellow green high reflectivity signs. Replace or update time clocks with new clocks that also can be sent time
and date information via radio or pager signal. Replace painted crosswalks with thermo plastic heat tape. Replacement of crosswalk signs and
crosswalks will provide improved visibility for pedestrian safety.




Supporting planning document(s):




                                                                                      Project Cost:                              Estimated        Project-to-Date
                                                                                      ROW/Easements/Land                                   -                    -
                                                                                      Design                                               -                    -
                                                                                      Construction                                         -                    -
                                                                                      Other                                          158,000              68,000

                                                                                      Total                                  $       158,000      $        68,000
                   Insert a picture of your proposed project here.
                   Click on Insert in the menu bar, then Object…
                                                                                      Project Schedule:                                               % Complete
                          Click on the tab Create from File,
                                                                                      Design:                                                                  0%
                                 then click Browse…
                                                                                      Implementation: 2012                                                   60%
                                Browse to your picture,
                               then click Insert and Ok.


                                                                                      Funding Sources:                                                 Amount
                                                                                      Tom Green County Fee                                        $      158,000




Operating Budget Impact if Completed:                                     13/14               14/15          15/16                16/17                 17/18
Annual electrical savings of $4,500.00 per year.                     $      (4,500)             (4,500)        (4,500)                (4,500)              (4,500)
Replace Thermoplastic                                                            -                   -              -                      -               32,500




Operating Budget Impact if NOT Completed:                                 13/14               14/15          15/16                16/17                 17/18
Continued cost of repainting crosswalks.                             $      21,000              21,000         21,000                21,000                21,000




Performance Measures:
150 Signs have been replaced at all school crossings and all crosswalks have been marked with thermo plastic material.


Notes:
Funding Source - Crosswalk Guard and Equipment Revenues collected by Tom Green County Fee. Radios and time clocks will be upgraded as
funds are available from the county. The thermoplastic crosswalk material will reduce the maintenance of crosswalks to once every five years from
repainting crosswalks every two months.

Traffic Operations Divisions currently maintains 150 crosswalks. The cost to replace with thermoplastic every 5 years will cost approximately
$32,500.00.




Present Value of Future Cash Flows
 Completing Project $95,013
 Not Completing Project $99,269

Location of Project (provide at least one of the following locators for each project location):
Address:                                         Street Address                               City                                            State
                             1) City Wide                                       San Angelo                                   Texas




                                                                             45
City of San Angelo, Texas
                                              2013-2018 Capital Improvement Plan

                                                         Sign Reflectivity Upgrade
Responsible Division:               Traffic Operations                                 Project Manager:               Shane Kelton

Financial Plan:
      Prior             Budget                                           Projected
     Years              12/13           13/14             14/15           15/16               16/17       17/18             Future                   Total
 $        94,000          48,000          56,550            57,681           58,834             60,011      61,211            141,077         $        577,364

Description:
Upgrade informational, warning and regulatory signs to meet newly established federal required mandates for reflectivity. The Traffic Division has
inventoried and tested the retroreflectivity of all the City signs. They currently have maintenance responsibily for approximately 12,000 informational,
warning and regulatory signs. Tests revealed 30% have failed and are in need of replacement. The Federal Highway Administration has extended
the deadline for the replacement of failed signs from 2018 to 2020. In order to stay in compliance with the mandate the Traffic Division will have to
replace approximately 870 signs a year. This number includes the 3,600 that are currently out of compliance and the extimated 5% that will fail each
of the following years. The replacement of signs to stay in compliance will be an ongoing responsibility well past the compliance deadline.


Supporting planning document(s):




                                                                                      Project Cost:                        Estimated          Project-to-Date
                                                                                      ROW/Easements/Land                             -                      -
                                                                                      Design                                         -                      -
                                                                                      Construction                                   -                      -
                                                                                      Other                                    577,364                94,000

                                                                                      Total                            $       577,364         $        94,000
                   Insert a picture of your proposed project here.
                   Click on Insert in the menu bar, then Object…
                                                                                      Project Schedule:                                            % Complete
                          Click on the tab Create from File,
                                                                                      Design:                                                               0%
                                 then click Browse…
                                                                                      Implementation: ongoing                                             30%
                                Browse to your picture,
                               then click Insert and Ok.


                                                                                      Funding Sources:                                              Amount
                                                                                      General Fund                                             $      577,364




Operating Budget Impact if Completed:                                     13/14               14/15       15/16             16/17                    17/18
Increase in operation budget to meet and maintain federal                  122,550             126,081      129,730            133,502                 137,402
mandate. This includes the cost of two additional full time
employees and O&M of an additional vehicle.


Operating Budget Impact if NOT Completed:                                 13/14               14/15       15/16             16/17                    17/18
Potential Gross Negligence Liablity                                  $            -                   -           -                    -                     -




Performance Measure:
In order to maintain and stay in compliance with the federal mandates the Traffic Division will be required to replace approximately 870 signs per
year.

Notes:
COMPLIANCE DATES: January 2012-Implement a sign maintenance program that addresses the minimum sign retroreflectivity requirements.
January 2017-Complaince with the new retroreflectivity requirements for most of their traffic signs they have installed, including all red and white or
white and black "regulatory" signs, yellow and black "warning" signs and ground-mounted green and white "guide" signs (except street name signs).

January 2020-Compliance with the new retroreflectivity requirements for all signs.
The Traffic Operations Division has inventoried all signs for a total of 12,000. Of the 12,000 30% have failed the retroreflectivity tests for minimum
requirements. Of the remaining 8,400 signs we are estimating that approximately 5% of those will fail the retroreflectometer test on a yearly basis
until all signs have been replaced after 8 years.
Mandated by Federal Highway Administration - If not completed the City may be found at fault for Gross Negligence Liability. In order to
accomplish this project and remain in compliance the Traffic Division has hired an additional two full time employees and will purchase a vehicle.


Present Value of Future Cash Flows
  Completing Project $1,065,185
  Not Completing Project Undetermined

Location of Project (provide at least one of the following locators for each project location):
Address:                                        Street Address                              City                                           State
                             1) City Wide                                      San Angelo                              Texas




                                                                             46
2013-2018
   Capital
Improvement
    Plan

Other Projects
               LEVEL 2
                Airport

       City Operations Facilities

     Community Facilities and parks

             City Facilities

            Environmental

               Equipment

              Technology
City of San Angelo, Texas
                                            2013-2018 Capital Improvement Plan

                                                            Apron Joint Seal
Responsible Dept:                 Airport                                          Project Manager:                     Luis Elguezabal

Financial Plan:
      Prior          Budget                                          Projected
     Years           12/13            13/14         14/15             15/16               16/17          17/18                Future                 Total
 $              -             -               -              -           54,900            555,555                  -                      -   $       610,455

Description:
Design, engineering, and construction for the sealcoat and pavement rehabilitation of the terminal building apron and Runway 9-27 and 18-36. Over
time joint seals deteriorate causing water to penetrate the sub-surface and damage the pavement. Joint seals need to be replaced in order to
extend the life of the pavement.




Supporting planning document(s):




                                                                                  Project Cost:                              Estimated         Project-to-Date
                                                                                  ROW/Easements/Land                                    -
                                                                                  Design                                           54,900
                                                                                  Construction                                    555,555
                                                                                  Other                                                 -

                                                                                  Total                                  $        610,455      $             -

                                                                                  Project Schedule:                                                % Complete
                                                                                  Design: 2016                                                              0%
                                                                                  Implementation: 2017                                                      0%




                                                                                  Funding Sources:                                                  Amount
                                                                                  FAA Grant                                                    $      549,410
                                                                                  PFC Fund                                                     $       61,045




Operating Budget Impact if Completed:                                 13/14               14/15          15/16                16/17                  17/18
Pavement maintenance                                             $       5,000               5,000          5,000                  5,000                 5,000




Operating Budget Impact if NOT Completed:                             13/14               14/15          15/16                16/17                  17/18
Increased pavement maintenance                                   $      15,000              15,000         25,000                 45,000                45,000




Performance Measures:
The area that will need the Apron Joint Seal is approximately 359,000 SQ FT.


Notes:




Present Value of Future Cash Flows
  Completing Project $589,909
  Not Completing Project $135,484

Location of Project (provide at least one of the following locators for each location):
Address:                                       Street Address                            City                                              State
                            1) 8618 Terminal Circle                           San Angelo                                  Texas




                                                                         48
City of San Angelo, Texas
                                           2013-2018 Capital Improvement Plan

                    Runway 3-21 Runway Lights and Airport Beacon Replacement
Responsible Dept:                Airport                                            Project Manager:               Luis Elguezabal

Financial Plan:
      Prior           Budget                                           Projected
     Years            12/13           13/14           14/15             15/16              16/17       17/18             Future                 Total
 $              -      631,889                 -               -                                                                      -   $       631,889

Description:
Design, engineering, and construction for high intensity runway lights for Runway 3-21 and also improvements to the rotating beacon and electrical
vault. This lighting system is 11 years old and has failed. The FAA has allocated funds for the replacement and repair of this system this fiscal year.




Supporting planning document(s):




                                                                                   Project Cost:                        Estimated         Project-to-Date
                                                                                   ROW/Easements/Land                              -                    -
                                                                                   Design                                     55,556                    -
                                                                                   Construction                              576,333                    -
                                                                                   Other                                           -                    -

                                                                                   Total                            $        631,889      $             -

Insert a picture of your proposed project here.                Click on Insert Project Schedule:                                              % Complete
 in the menu bar, then Object…                  Click on the tab Create from Design: 2013                                                              0%
File, then click Browse…          Browse to your picture, then click Insert and Implementation: 2013                                                   0%




                                                                                   Funding Sources:                                            Amount
                                                                                   FAA Grant                                              $      568,700
                                                                                   PFC Fund                                               $       63,189




Operating Budget Impact if Completed:                                   13/14              14/15       15/16             16/17                  17/18
Decreased maintenance costs                                        $       1,000              3,000        4,000              5,000                 5,000




Operating Budget Impact if NOT Completed:                               13/14              14/15       15/16             16/17                  17/18
Future failure and unreliable system                               $      40,000             40,000       40,000             40,000                40,000




Performance Measures:
Total of 70 lights in the system. Annual replacement of 12% of lights per year is expected until the system is re-constructed.


Notes:
The system has failed. FAA has allocated funds for the replacement of the circuit this year.




Present Value of Future Cash Flows
  Completing Project $648,728
  Not Completing Project $189,083

Location of Project (provide at least one of the following locators for each location):
Address:                                       Street Address                            City                                         State
                            1) 8618 Terminal Circle, Suite-101                San Angelo                             Texas




                                                                           49
City of San Angelo, Texas
                                           2013-2018 Capital Improvement Plan

                                                 Airport Terminal Renovation
Responsible Dept:                Airport                                             Project Manager:                    Luis Elguezabal

Financial Plan:
      Prior          Budget                                            Projected
     Years            12/13           13/14           14/15             15/16               16/17        17/18                 Future                   Total
 $    1,239,379      1,110,000       1,110,000       1,110,000          1,110,000            600,862                 -                        -   $     6,280,241

Description:
The San Angelo Regional Airport is currently modernizing the existing terminal building. The project consists of remodeling of the landside functions
to relate to the new concourse, improve the passenger experience, and provide an aesthetic enhancement with a regional identity.
Specifically, construction consists of exterior and driveway improvements such as: new entry monument sign, terminal entrance pavement
enhancements, curbside canopies, and air traffic control tower renovations.
Improvements to the interior includes items such as: new entrance and exit vestibules, relocation and configuration of the airline ticket counters and
baggage claim belt, improvements to the security check point to assist with the screening process, structural modifications to accommodate a view
from the entrance to the arrival/departure escalator area, relocation of the airport administrative offices, adjustments to the HVAC, security, fire
protection, and IT systems, and enhancements to the meet and greet area.
Supporting planning document(s):




                                                                                    Project Cost:                             Estimated           Project-to-Date
                                                                                    ROW/Easements/Land                                  -                       -
                                                                                    Design                                        354,526               354,526
                                                                                    Construction                                5,925,715               884,853
                                                                                    Other

                                                                                    Total                                 $     6,280,241         $     1,239,379

                                                                                    Project Schedule:                                                 % Complete
                                                                                    Design: 12-2010                                                         100%
                                                                                    Implementation: Start Date 01-2012                                       20%
                                                                                    Completion: 11-2013                                                        0%


                                                                                    Funding Sources:                                                   Amount
                                                                                    FAA Grant                                                     $     5,491,230
                                                                                    PFC Funds                                                     $       289,011
                                                                                    Type B Sales Tax                                              $       500,000


Operating Budget Impact if Completed:                                   13/14               14/15        15/16                 16/17                    17/18
More efficiency, less maintenance, improved aesthetics.            $            -                   -            -                        -                     -




Operating Budget Impact if NOT Completed:                               13/14               14/15        15/16                 16/17                    17/18
No impact                                                          $            -                   -            -                        -                     -




Performance Measures:
Project is scheduled to be completed in 540 days. Contractor has used 343 days or about 64% of the time is used.


Notes:
Note that although 64% of the time allotted for completion has elapsed, only 20% of the project has been completed. Construction is about 6
months behind.




Present Value of Future Cash Flows
  Completing Project $4,874,613
  Not Completing Project Undetermined

Location of Project (provide at least one of the following locators for each location):
Address:                                       Street Address                            City                                                 State
                            1) 8618 Terminal Circle                           San Angelo                                   Texas




                                                                           50
City of San Angelo, Texas
                                            2013-2018 Capital Improvement Plan

                                                   EOC HVAC Replacement
Responsible Dept:                  Emergency Management                                Project Manager:                     Teresa Covey

Financial Plan:
      Prior          Budget                                           Projected
     Years           12/13            13/14          14/15             15/16                  16/17          17/18                Future                Total
 $              -              -       500,000                -                   -                      -              -                     -   $       500,000

Description:
The current HVAC system at the EOC is the original installed when the building was constructed 26 years ago. Replacement parts are scarce to
non-existent. Only TWO repair men at Duncan Mechanical Services are capable of making repairs at this time. The pneumatic control system is
inefficient and unreliable, constantly cooling or heating, which in turn cost unnecessary utility expenses. We recommend the purchase of a new
more energy efficient system. Total HVAC replacement will reduce the ongoing electrical costs and maintenance repairs.




Supporting planning document(s):
Ron Lewis, COSA Construction and Facilities Maintenance, and WTA Engineering provided the necessary preliminary cost analysis. The estimate
of $327,000 in 2008 has been adjusted by a minimum of 10% for each year since 2008 to cover inflation costs.

                                                                                      Project Cost:                              Estimated        Project-to-Date
                                                                                      ROW/Easements/Land                                   -                    -
                                                                                      Design                                          75,000                    -
                                                                                      Construction                                   425,000                    -
                                                                                      Other                                                -                    -

                                                                                      Total                                  $       500,000      $              -

                                                                                      Project Schedule:                                               % Complete
                                                                                      Design: 2014                                                             0%
                                                                                      Implementation: 2014                                                     0%



                                                                                      Funding Sources:                                                 Amount
                                                                                      Undetermined                                                $      500,000




Operating Budget Impact if Completed:                                  13/14                  14/15          15/16                16/17                 17/18
Savings on Maintenance and Repairs                                $      (5,000)                (5,000)        (5,000)                (5,000)               (5,000)




Operating Budget Impact if NOT Completed:                              13/14                  14/15          15/16                16/17                 17/18
Repairs and Maintenance                                           $       5,000                  5,500          6,050                 6,655                 7,320




Performance Measures:



Notes:
If the HVAC system is not replaced, maintenance costs will continue to increase as the amount of leaks in the hot water lines throughout the building
continue to increase. Options for repairs are limited due to lack of the antiquated pneumatic system. Budget Impact if NOT completed reflects an
annual 10% increase in cost. If a repair needs to be made, we will take this request forward for approval, on an as needed basis.

If the HVAC system is not replaced and repairs are needed at a time when the EOC is activated, this will create a hardship on key personnel at a
time of critical decision making. The City of San Angelo Emergency Management Department is bound by contract with the FAA to maintain the
facility at 8485 Hangar Road.




Present Value of Future Cash Flows
  Completing Project $467,042
  Not Completing Project $28,756

Location of Project (provide at least one of the following locators for each project location):
Address:                                        Street Address                              City                                              State
                             1) 8485 Hangar Rd.                               San Angelo                                     Texas




                                                                          51
City of San Angelo, Texas
                                                     2013-2018 Capital Improvement Plan
                                                      Fire Station #4 Reconstruction
Responsible Dept:                     Fire                                                   Project Manager:                       Brian Dunn

Financial Plan:
      Prior              Budget                                            Projected
     Years               12/13               13/14         14/15            15/16                   16/17           17/18                 Future                 Total
 $              -                 -                   -    2,580,000                    -                       -               -                      -   $     2,580,000

Description:
Relocate Fire Station #4 and reconstruct. Station 4 was constructed in 1965 and has never been improved. A fire truck cannot be purchased that
will fit in the engine bay of Station 4. Additionally, the station will be made gender compliant. The city has been in discussions with GAFB about
building the station on the corner of Bell Street and Paint Rock Road. There are several items the city will have to address if this location is
approved. We will have to re-fence the area, move some water boxes, and move a gas main. We will also be responsible for some paving. We are
looking for alternate locations at this time in case this site falls through.



Supporting planning document(s):



                                                                                            Project Cost:                                Estimated         Project-to-Date
                                                                                            ROW/Easements/Land                                80,000                 3,684
                                                                                            Design                                            65,000                     -
                                                                                            Construction                                   2,435,000                     -
                                                                                            Other                                                  -

                                                                                            Total                                    $     2,580,000       $         3,684
                    Insert a picture of your proposed project here.
                    Click on Insert in the menu bar, then Object…
                                                                                            Project Schedule:                                                  % Complete
                           Click on the tab Create from File,
                                                                                            Design:                                                                  100%
                                  then click Browse…
                                                                                            Implementation: 2014                                                        0%
                                 Browse to your picture,
                                then click Insert and Ok.

                                                                                            Funding Sources:                                                    Amount
                                                                                            General Fund C.O.                                              $    2,580,000




Operating Budget Impact if Completed:                                       13/14                   14/15           15/16                 16/17                  17/18
No impact                                                              $            -                       -               -                      -                     -




Operating Budget Impact if NOT Completed:                                   13/14                   14/15           15/16                 16/17                  17/18
No impact                                                              $            -                       -               -                      -                     -




Performance Measures:
Improved response time, lower the ISO rating


Notes:
Improved response times and geographically locating fire stations has an impact on the city's ISO rating. The ISO rating is the rating system in
which insurance companies base their insurance premiums to commercial and residential customers. The City of San Angelo will be graded in the
summer of 2008. The city should get an improved rating which will in turn reduce premiums for the citizens and businesses in the City of San
Angelo.




Present Value of Future Cash Flows
 Completing Project $2,484,685
 Not Completing Project Undetermined

Location of Project (provide at least one of the following locators for each project location):
Address:                                        Street Address                              City                                                   State
                             1) 702 E. Ave. L                                  San Angelo                                            Texas




                                                                               52
City of San Angelo, Texas
                                             2013-2018 Capital Improvement Plan
                                                          Fire Training Facility
Responsible Dept:                 Fire                                                      Project Manager:                       Brian Dunn

Financial Plan:
      Prior           Budget                                              Projected
     Years             12/13            13/14           14/15              15/16                   16/17           17/18                 Future                   Total
 $              -     1,200,000        1,400,000                 -                     -                       -               -                        -   $     2,600,000

Description:
A new fire training facility located behind the animal shelter on U.S. 67 North. This facility will have a classroom and office building and a fire burn
building. This facility will replace the current training center on Avenue L that is approaching 50 years of age. The current training center is located
on the Concho river across from the city water intake. TCEQ has basically shut down many of our fire training operations because of the proximity of
the river.




Supporting planning document(s):



                                                                                           Project Cost:                                Estimated           Project-to-Date
                                                                                           ROW/Easements/Land                                     -                       -
                                                                                           Design                                                 -                       -
                                                                                           Construction                                   2,600,000                       -
                                                                                           Other                                                  -                       -

                                                                                           Total                                    $     2,600,000         $             -

                 Insert a picture of your proposed project here.                           Project Schedule:                                                    % Complete
                 Click on Insert in the menu bar, then Picture…                            Design:                                                                       0%
    then find picture in your files…       then double click picture to insert.            Implementation:                                                               0%



                                                                                           Funding Sources:                                                      Amount
                                                                                           Federal EDA Grant                                                $    1,200,000
                                                                                           General Fund Bond                                                $    1,400,000



Operating Budget Impact if Completed:                                      13/14                   14/15           15/16                 16/17                    17/18
At this point there isn't any impact to the operating budget          $            -                       -               -                        -                     -




Operating Budget Impact if NOT Completed:                                  13/14                   14/15           15/16                 16/17                    17/18
                                                                      $            -                       -               -                        -                     -




Performance Measures:
The ability to train current personnel and future personnel


Notes:




Present Value of Future Cash Flows
 Completing Project $2,573,896
 Not Completing Project Undetermined

Location of Project (provide at least one of the following locators for each project location):
Address:                                        Street Address                              City                                                    State
                             1) Behind 3142 u.s. 67 north                      San Angelo                                           Texas




                                                                              53
City of San Angelo, Texas
                                            2013-2018 Capital Improvement Plan
                                    Chase State Office Building Improvements
Responsible Dept:                 Fort Concho/State Building                          Project Manager:                 Robert Bluthardt

Financial Plan:
     Prior           Budget                                             Projected
     Years           12/13            13/14           14/15              15/16               16/17        17/18              Future               Total
 $              -                      200,000          20,000              20,000             20,000       20,000              20,000      $      300,000

Description:
The sprinkler risers in the Chase State Office Building are almost 60 years old and should be replaced. Also, approximately 600 feet of the
system piping has had numerous small leaks in the past five years, thus endangering whole sections of office and public space. This project will
replace them over a three year period.
Office and hallway carpets need to be replaced throughout the Chase State Office Building and Concho Valley Workforce Building in the coming
years, due to wear and tear, safety and fulfillment of exisiting leases. A multi-year plan will accommodate these needs within available funding.
HVAC units at the State Buidlings range from 10 to 12 years old and will start to fail in the coming years. To maintain proper climate control with
increasingly efficient equipment, a multi-year replacement plan is necessary.
Supporting planning document(s):



                                                                                     Project Cost:                          Estimated       Project-to-Date
                                                                                     ROW/Easements/Land                                -                  -
                                                                                     Design                                            -                  -
                                                                                     Construction                                300,000                  -
                                                                                     Other                                             -                  -

                                                                                     Total                              $        300,000    $             -

                Insert a picture of your proposed project here.                      Project Schedule:                                          % Complete
                Click on Insert in the menu bar, then Picture…                       Design:                                                            0%
   then find picture in your files…       then double click picture to insert.       Implementation: 2017/2018                                          0%



                                                                                     Funding Sources:                                            Amount
                                                                                     Fund 201 State Office Building                         $      300,000




Operating Budget Impact if Completed:                                    13/14               14/15        15/16              16/17                17/18
Completing the project will reduce maintenance costs and
C    l ti th      j t ill d          i t          t    d            $      (2,500)             (5,000)      (10,000)             (12,500)           (15,000)
reduce energy consumption.



Operating Budget Impact if NOT Completed:                                13/14               14/15        15/16              16/17                17/18
Repair and spot replacement for carpet                              $       1,000               3,000        5,000                7,000               9,000
HVAC repairs                                                                5,000               5,000        7,500                7,500              10,000




Performance Measures:
No leaks or drops in the system pressure over time. Easier cleaning by custodial contractor; no complaints from lessees. Increased energy
efficiency and content state staffers.

Notes:




Present Value of Future Cash Flows
  Completing Project $247,084
  Not Completing Project $56,147

Location of Project (provide at least one of the following locators for each project location):
Address:                                       Street Address                             City                                          State
                            1) 622 South Oaks                                San Angelo                                  Texas




                                                                            54
City of San Angelo, Texas
                                              2013-2018 Capital Improvement Plan
                                                            Boat Storage Dock
Responsible Dept:                   Police Department                                      Project Manager:                       Chief Tim Vasquez

Financial Plan:
      Prior           Budget                                             Projected
     Years            12/13             13/14           14/15             15/16                   16/17           17/18                 Future                   Total
 $              -               -         75,000                 -                    -                       -               -                        -   $        75,000

Description:
The San Angelo Police Department Lake Patrol is in need of a boat storage dock on Lake Nasworthy. Currently the boats are stored offsite. When
the Lake Patrol Officer receives a call on Lake Nasworthy, they must first go to the storage facility to retrieve the boat. It takes an average of 20
minutes from the time the call is received to the time the boat is on the water. With a boat dock on Lake Nasworthy the responding officer will be
able to go straight to the lake and drop the boat in the water. This will cut 20 minutes off the response time to an emergency on the lake.




Supporting planning document(s):



                                                                                          Project Cost:                                Estimated           Project-to-Date
                                                                                          ROW/Easements/Land                                     -                       -
                                                                                          Design                                             5,000                       -
                                                                                          Construction                                      70,000                       -
                                                                                          Other                                                  -                       -

                                                                                          Total                                    $        75,000         $              -

                 Insert a picture of your proposed project here.                          Project Schedule:                                                    % Complete
                 Click on Insert in the menu bar, then Picture…                           Design:                                                                       0%
    then find picture in your files…       then double click picture to insert.           Implementation:                                                               0%



                                                                                          Funding Sources:                                                      Amount
                                                                                          Undetermined                                                     $       75,000




Operating Budget Impact if Completed:                                     13/14                   14/15           15/16                 16/17                    17/18
Cut storage rental fees                                              $      (1,560)                 (1,560)         (1,560)                 (1,560)                  (1,560)
Electricity                                                                    700                     725             750                     775                      800




Operating Budget Impact if NOT Completed:                                 13/14                   14/15           15/16                 16/17                    17/18
None                                                                 $            -                       -               -                        -                      -




Performance Measures:
Decrease response time to emergency calls on Lake Nasworthy by 20 minutes.


Notes:




Present Value of Future Cash Flows
  Completing Project $69,768
  Not Completing Project Undetermined

Location of Project (provide at least one of the following locators for each project location):
Address:                                        Street Address                              City                                                       State
                             1) Undetermined                                  San Angelo                                           Texas




                                                                             55
City of San Angelo, Texas
                                              2013-2018 Capital Improvement Plan
                                       Mobile Command Center Storage Facility
Responsible Dept:                   Police Department                                        Project Manager:                       Chief Tim Vasquez

Financial Plan:
      Prior           Budget                                             Projected
     Years            12/13             13/14           14/15             15/16                     16/17           17/18                 Future                   Total
 $              -               -         60,000                 -                      -                       -               -                        -   $        60,000

Description:
The Police Department has a mobile command center that is used at various events around the city and at critical calls. It is currently housed at the
City Shop but is not covered. There is a lot of electronic equipment mounted on top and on the sides of the command center that need to be
protected from the weather. Being exposed to the sun also is causing damage to the exterior of the command center. This command center needs
to able to be deployed anytime under any circumstances. The storage facility would protect it from dangerous weather and allow it to be ready to be
deployed when needed.



Supporting planning document(s):



                                                                                            Project Cost:                                Estimated           Project-to-Date
                                                                                            ROW/Easements/Land                                     -                       -
                                                                                            Design                                                 -                       -
                                                                                            Construction                                      60,000                       -
                                                                                            Other                                                  -                       -

                                                                                            Total                                    $        60,000         $             -

                 Insert a picture of your proposed project here.                            Project Schedule:                                                    % Complete
                 Click on Insert in the menu bar, then Picture…                             Design:                                                                       0%
    then find picture in your files…       then double click picture to insert.             Implementation:                                                               0%



                                                                                            Funding Sources:                                                      Amount
                                                                                            Undetermined                                                     $       60,000




Operating Budget Impact if Completed:                                     13/14                     14/15           15/16                 16/17                    17/18
Cost of electric service to the facility                             $            900                   925             950                        975                 1,000




Operating Budget Impact if NOT Completed:                                 13/14                     14/15           15/16                 16/17                    17/18
None                                                                 $              -                       -               -                        -                     -




Performance Measures:



Notes:




Present Value of Future Cash Flows
  Completing Project $63,368
  Not Completing Project Undetermined

Location of Project (provide at least one of the following locators for each project location):
Address:                                        Street Address                              City                                                         State
                             1) 401 E. Beauregard                             San Angelo                                             Texas




                                                                             56
City of San Angelo, Texas
                                                       2013-2018 Capital Improvement Plan
                                              Police Department Administration Building
Responsible Dept:                          Police Department                                           Project Manager:                     Chief Tim Vasquez

Financial Plan:
      Prior                Budget                                                     Projected
     Years                 12/13               13/14               14/15               15/16                  16/17          17/18                Future                Total
 $      135,067                        -     25,775,000                                           -                      -              -                        $     25,910,067

Description:
The current HQ building was constructed in 1963 and was originally designed to house the Police Dept., Municipal Court, and a City Jail. At the present time, the
SAPD is housed in six separate facilities. In 2011 an architect firm completed a feasibility analysis of the current facility and future needs. The analysis cited the
following deficiencies: 1. Lack of adequate square footage 2. Lack of code compliance (ADA and Life Safety) 3. Separation of public and staff areas 4. Inadequate
building systems (electrical, plumbing, HVAC, etc) 5. Lack of public and staff parking 6. Structural concerns (both at HQ bldg. and auxiliary facilities. The probable
steps in the project are: 1. Site selections and acquisition 2. Design 3. Construction. A HQ building of approximately 108,000 sq. ft. and a parking structure are
suggested. Site costs are estimated at $775,000 to $2 million. HQ Building cost at $22 to $23 million ($220 to $230 sq.ft.) and parking structure $1.25 to $1.75
million..

Supporting planning document(s):
Assessment & Feasibility analysis are available upon request.


                                                                                                      Project Cost:                              Estimated       Project-to-Date
                                                                                                      ROW/Easements/Land                             775,000                   -
                                                                                                      Design                                         500,000
                                                                                                      Construction                                24,500,000                    -
                                                                                                      Other                                          135,067              135,067

                                                                                                      Total                                  $    25,910,067      $       135,067
                    Insert a picture of your proposed project here.
                    Click on Insert in the menu bar, then Object…
                                                                                                      Project Schedule:                                               % Complete
                           Click on the tab Create from File,
                                                                                                      Design: 2013                                                           0.5%
                                  then click Browse…
                                                                                                      Implementation: 2014                                                     0%
                                 Browse to your picture,
                                then click Insert and Ok.

                                                                                                      Funding Sources:                                              Amount
                                                                                                      General Fund                                                $    135,067
                                                                                                      Future General Fund C.O.                                    $ 25,775,000



Operating Budget Impact if Completed:                                                  13/14                  14/15          15/16                16/17                 17/18
                                                                                  $     (10,000)               (20,000)       (35,000)               (60,000)              (60,000)
Reductions are expected in the department's operating budget. Building
maintenance and repairs will decrease as well as some personnel costs. No
savings would be expected until construction is competed and will flatten
once maximum savings is achieved


Operating Budget Impact if NOT Completed:                                              13/14                  14/15          15/16                16/17                 17/18
Increases in the maintenance and upkeep of the current faclity will occur until   $      30,000                 40,000         50,000                50,000                50,000
a new facility is constructed or major renovations are completed at the
current bulding. Systems such as HVAC, Plumbing and Electrical will need
updating as will ADA compliance issues. (increase to current budget is
listed) -- renovations would increase the estimated costs by 3 to 5 times the
amounts listed


Performance Measure:




Notes:
The original needs assessment and feasibility study was completed mid 2011. This confirmed the SAPD's assertion that new facilities were needed.
City council members were invited to tour current facilities and were thoroughly convinced a new facility was in order. The City Manager and
Assistant City managers were on board with re-evaluating a new police facilities placement on the CIP list.

While the cost of new construction is high, the cost of acceptable renovations would equal or exceed the cost of constructions, and still not address
parking and home land security preferences for public safety facilities. Moving forward with new facilities in a timely fashion will also save money in
the long run. Construction costs are estimated to increase 4% annually.
25% reduction in total utility costs (+/- $25,000) ---- 33% reduction in maintenance personnel (+/- $35,000) --- Revenue increases from community
room rental ($7,500) ---- Increased revenue from additional training program ($3000) -- the value of increased service/accessibility to the public can't
be measured nor can the safety and security afforded by modern faciltiies. Potential for litigations should also be a concern (ADA or injury litigation)
but again these things can't be measured.
Present Value of Future Cash Flows
  Completing Project $25,121,999
  Not Completing Project $207,096

Location of Project (provide at least one of the following locators for each project location):
Address:                                        Street Address                              City                                                              State
                             1) 401 E. Beauregard                             San Angelo                                                     Texas




                                                                                          57
City of San Angelo, Texas
                                               2013-2018 Capital Improvement Plan

                                                        Auditorium Renovation
Responsible Dept:                 Civic Events                                            Project Manager:                       Angelica Pena

Financial Plan:
      Prior           Budget                                            Projected
     Years             12/13           13/14          14/15              15/16                   16/17           17/18                 Future                   Total
 $              -     1,435,803                       2,314,197                      -                       -               -                        -   $     3,750,000

Description:
Renovation of City Auditorium. This project includes shared costs with the City Hall renovation for the HVAC system. The balance of the available
funds will address needs that include a fire suppression system, ceiling repairs, restroom renovations, theatrical lighting, rigging and sound systems,
and aesthetics. The architect is determining which of those needs can be afforded with the $1.7 million that remains. Future improvements will be
coordinated with the San Angelo Performing Arts Coalition, which is raising funds to address those needs. To date, improvements made are the
installation of the Central plant (HVAC system) and some minor plumbing issues have been addressed.



Supporting planning document(s):



                                                                                         Project Cost:                                Estimated           Project-to-Date
                                                                                         ROW/Easements/Land                                     -                       -
                                                                                         Design                                           334,500                334,500
                                                                                         Construction                                   3,415,500              1,101,303
                                                                                         Other                                                  -                       -

                                                                                         Total                                    $     3,750,000         $     1,435,803

 Insert a picture of your proposed project here.                Click on Insert in Project Schedule:                                                          % Complete
  the menu bar, then Object…                  Click on the tab Create from File, Design: 2011                                                                       100%
  then click Browse…           Browse to your picture, then click Insert and Ok. Implementation: 2014                                                                30%




                                                                                         Funding Sources:                                                      Amount
                                                                                         Type B Sales Tax                                                 $     3,750,000




Operating Budget Impact if Completed:                                    13/14                   14/15           15/16                 16/17                    17/18
Likely none. The City is expected to execute an agreement           $            -                       -               -                        -                     -
with SAPAC for the operation of the venue once it reopens
                                                  reopens.
That agreement will include clauses to ensure that City
expenses are wholly reimbursed.

Operating Budget Impact if NOT Completed:                                13/14                   14/15           15/16                 16/17                    17/18
None.                                                               $            -                       -               -                        -                     -




Performance Measures:
SAPAC believes a fully renovated facility will result in continuous use of the venue throughout the calendar year. In years past, the venue has
accommodated approximately 65 events per year.

Notes:
The City and SAPAC have entered into an agreement as of December 2012. SAPAC will be making additional improvements outside of the City-
funded portion of this project.




Present Value of Future Cash Flows
 Completing Project $3,664,505
 Not Completing Project Undetermined

Location of Project (provide at least one of the following locators for each project location):
Address:                                         Street Address                               City                                                    State
                             1) 72 W. College Ave.                              San Angelo                                        Texas




                                                                            58
City of San Angelo, Texas
                                                2013-2018 Capital Improvement Plan

                                                     Fairgrounds Livestock Barn
Responsible Dept:                  Civic Events                                             Project Manager:                       Angelica Pena

Financial Plan:
      Prior           Budget                                              Projected
     Years             12/13            13/14           14/15              15/16                   16/17           17/18                 Future                   Total
 $              -     1,000,000                                  -                     -                       -               -                        -   $     1,000,000

Description:
At the request of the San Angelo Stock Show and Rodeo Association, a $1 million initiative to build a new livestock barn to replace the Qualtrust Barn
at the San Angelo Fairgrounds was included in the most recent half-cent sales tax initiative. Voters approved that initiative. Demolition of the current
facility and construction of the new barn will begin following this year's rodeo and stock show. The facility is expected to be available for use during next
year's stock show.




Supporting planning document(s):



                                                                                           Project Cost:                                Estimated           Project-to-Date
                                                                                           ROW/Easements/Land                                     -                       -
                                                                                           Design                                            75,000                 68,511
                                                                                           Construction                                     925,000               499,610
                                                                                           Other                                                  -                       -

                                                                                           Total                                    $     1,000,000         $      568,121

 Insert a picture of your proposed project here.                Click on Insert in Project Schedule:                                                            % Complete
  the menu bar, then Object…                  Click on the tab Create from File, Design: 2011                                                                          91%
  then click Browse…           Browse to your picture, then click Insert and Ok. Implementation: 2012                                                                  25%




                                                                                           Funding Sources:                                                      Amount
                                                                                           Type B Sales Tax                                                 $     1,000,000




Operating Budget Impact if Completed:                                      13/14                   14/15           15/16                 16/17                    17/18
The barn will be operated and mainted by SASSRA, so there             $            -                       -               -                        -                     -
will be no impact on the City's budget though the facility
                           City s budget,
will allow for growth of the stock show, which generates a
huge amount of sales and hotel tax revenue for the City.

Operating Budget Impact if NOT Completed:                                  13/14                   14/15           15/16                 16/17                    17/18
Because the barn is operated by the SASSRA, there would               $            -                       -               -                        -                     -
be no impact on the City's budget.



Performance Measures:
Increased number of exhibitors at the annual stock show by approximately 200.


Notes:
This project is being driven by the SASSRA.




Present Value of Future Cash Flows
 Completing Project $1,000,000
 Not Completing Project Undetermined

Location of Project (provide at least one of the following locators for each project location):
Address:                                         Street Address                               City                                                      State
                             1) 4608 Grape Creek Road                           San Angelo                                          Texas




                                                                              59
City of San Angelo, Texas
                                              2013-2018 Capital Improvement Plan

                                                       Coliseum Improvements
Responsible Dept:                   Civic Events                                           Project Manager:                       Angelica Pena

Financial Plan:
      Prior           Budget                                             Projected
     Years             12/13            13/14           14/15             15/16                   16/17           17/18                 Future                   Total
 $              -               -         60,000                 -                    -                       -               -                        -   $        60,000

Description:
There are various improvements that need to be made to the Coliseum in order to properly maintain the facility. These improvements include
spotlights, three new urinals, and a forklift. The spotlights that we currently have are at least 25 years old, inadequate, and parts are becoming
increasingly hard to find. We need 3 @ $7K a piece ($21,000). Three urinals at the coliseum need to be replaced as they currently leak and are rusted.
3 @ $2K a piece ($6,000). Lastly, we need to replace our existing forklift. Our current forklift is barely operable and requires numerous hours of staff
time to keep it running. It is used almost daily and with our upcoming indoor football season, it will be in high demmand. ($33,000)



Supporting planning document(s):



                                                                                          Project Cost:                                Estimated           Project-to-Date
                                                                                          ROW/Easements/Land                                     -                       -
                                                                                          Design                                                 -                       -
                                                                                          Construction                                           -                       -
                                                                                          Other                                             60,000                       -

                                                                                          Total                                    $        60,000         $              -

Insert a picture of your proposed project here.                                Click Project Schedule:                                                         % Complete
 on Insert in the menu bar, then Picture…                                  then find Design:                                                                            0%
          picture in your files…      then double click picture to insert.           Implementation:                                                                    0%




                                                                                          Funding Sources:                                                      Amount
                                                                                          HOT fund balance                                                 $       60,000




Operating Budget Impact if Completed:                                     13/14                   14/15           15/16                 16/17                    17/18
Staff time saved in maintenance functions                            $      (3,300)                 (3,300)         (3,300)                 (3,300)                  (3,300)




Operating Budget Impact if NOT Completed:                                 13/14                   14/15           15/16                 16/17                    17/18
None                                                                 $            -                       -               -                        -                      -




Performance Measures:



Notes:
Civic Events could potentially recoup $3-$5K by selling our current forklift through an online auction.




Present Value of Future Cash Flows
 Completing Project $43,282
 Not Completing Project Undetermined

Location of Project (provide at least one of the following locators for each project location):
Address:                                         Street Address                               City                                                     State
                             1) 50 E. 43rd St.                                  San Angelo                                         Texas




                                                                             60
City of San Angelo, Texas
                                             2013-2018 Capital Improvement Plan

                                                  Coliseum Roof Rehabilitation
Responsible Dept:                  Civic Events                                           Project Manager:                       Angelica Pena

Financial Plan:
      Prior           Budget                                            Projected
     Years             12/13           13/14          14/15              15/16                   16/17           17/18                 Future                   Total
 $              -              -        545,000                 -                    -                       -               -                        -   $       545,000

Description:
Foster Communications Coliseum has served this community well for 54 years. There's no reason why it shouldn't serve San Angelo another 50 years
… but only if it is properly maintained. The venue's roof was recoated in 2001, though that project replaced foam on only 5 percent of the surface area.
According to the company that then did that work, other areas of the original roof foam have since deteriorated because of a combination of wind, sun,
weather and substrate movement. The roof substrate is close to realizing its expected life. That contractor recommends 100 percent of the roof should
be refoamed and recoated at an estimated cost of nearly $500,000. Without the rehabilitation, the community would eventually be looking at spending
tens of millions of dollars on a new venue.


Supporting planning document(s):



                                                                                         Project Cost:                                Estimated           Project-to-Date
                                                                                         ROW/Easements/Land                                     -                       -
                                                                                         Design                                            37,500                       -
                                                                                         Construction                                     507,500                       -
                                                                                         Other                                                  -                       -

                                                                                         Total                                    $       545,000         $             -

 Insert a picture of your proposed project here.                Click on Insert in Project Schedule:                                                          % Complete
  the menu bar, then Object…                  Click on the tab Create from File, Design:                                                                               0%
  then click Browse…           Browse to your picture, then click Insert and Ok. Implementation:                                                                       0%




                                                                                         Funding Sources:                                                      Amount
                                                                                         Potential: Type B Sales Tax, certificates of                     $      545,000
                                                                                         general bonds, HOT



Operating Budget Impact if Completed:                                    13/14                   14/15           15/16                 16/17                    17/18
No money is currently being spent on the roof, so there is no       $            -                       -               -                        -                     -
impact on the budget
              budget.



Operating Budget Impact if NOT Completed:                                13/14                   14/15           15/16                 16/17                    17/18
None                                                                $            -                       -               -                        -                     -




Performance Measures:
The Coliseum hosts approximately 40 events per year, drawing more than 80,000 people.


Notes:
The SASSRA would certainly have a vested interest in seeing this project completed. The original estimate of $500,000 is 3 years old. I am adding a
3% increase per year to keep up with rising costs of material and labor.




Present Value of Future Cash Flows
 Completing Project $534,838
 Not Completing Project Undetermined

Location of Project (provide at least one of the following locators for each project location):
Address:                                         Street Address                               City                                                    State
                             1) 50 E. 43rd St.                                  San Angelo                                        Texas




                                                                            61
City of San Angelo, Texas
                                              2013-2018 Capital Improvement Plan

                                              Convention Center Improvements
Responsible Dept:                 Civic Events                                             Project Manager:                       Angelica Pena

Financial Plan:
      Prior           Budget                                             Projected
     Years             12/13           13/14           14/15              15/16                   16/17           17/18                 Future                   Total
 $              -        36,831          83,069                 -                     -                       -               -                        -   $       119,900

Description:
There are several key improvements that need to be made to the Convention Center in order to properly preserve & maintain the City's most oft used
facility . The renovation did not include the replacement of its 1978 marquee, which shows its age. The sign should be replaced with a modern-day
digital marquee. ($45,000) Secondly, a security system has never been installed and is greatly needed in order to protect the taxpayer's investment.
($50,000) Next, the Convention Center is in dire need of new tables and chair carts. More tables would eliminate the need to borrow tables from the
Stock Show & Rodeo Association or the Fort. ($13,400) Lastly, the foyer/box office area has a large area of wall space that at one time was occupied
with several small flat screen TV's. The purchase of a large 90" flat screen would offer opportuniutes for advertising revenue, informational posts, and
overall a more attractive appearance. ($11,500)
Supporting planning document(s):



                                                                                          Project Cost:                                Estimated           Project-to-Date
                                                                                          ROW/Easements/Land                                     -                       -
                                                                                          Design                                                 -                       -
                                                                                          Construction                                           -                       -
                                                                                          Other                                            119,900                       -

                                                                                          Total                                    $       119,900         $              -

Insert a picture of your proposed project here.                                Click Project Schedule:                                                         % Complete
 on Insert in the menu bar, then Picture…                                  then find Design:                                                                            0%
          picture in your files…      then double click picture to insert.           Implementation:                                                                    0%




                                                                                          Funding Sources:                                                      Amount
                                                                                          HOT fund balance and Type B                                      $       83,069
                                                                                          Type B Sales Tax left over from Convention                       $       36,831
                                                                                          Center renovation


Operating Budget Impact if Completed:                                     13/14                   14/15           15/16                 16/17                    17/18
Staff time savings on maintenance functions                          $      (1,200)                 (1,200)         (1,200)                 (1,200)                  (1,200)




Operating Budget Impact if NOT Completed:                                 13/14                   14/15           15/16                 16/17                    17/18
None                                                                 $            -                       -               -                        -                      -




Performance Measures:
Result & Efficiency: A new marquee would allow us to spolight more events, give us another tool for disseminating information and could yield
cost-efficiencies as a revenue generator through the selling of advertisements on it

Notes:
Citywise marketing may be able to help us recover costs by leveraging a sponsor who would have a static presence on the marquee. In addition they
may be able to sell advertising on the large flat screen TV.




Present Value of Future Cash Flows
 Completing Project $112,679
 Not Completing Project Undetermined

Location of Project (provide at least one of the following locators for each project location):
Address:                                         Street Address                               City                                                     State
                             1) 500 Rio Concho Drive                            San Angelo                                         Texas




                                                                             62
City of San Angelo, Texas
                                            2013-2018 Capital Improvement Plan
                                            Fort Concho Barracks 6 New Floor
Responsible Dept:                  Fort Concho                                               Project Manager:                       Robert Bluthardt

Financial Plan:
     Prior            Budget                                               Projected
     Years            12/13           13/14            14/15                15/16                   16/17           17/18                 Future                   Total
 $              -              -        15,000                     -                    -                       -               -                        -   $        15,000

Description:
Fort and city staff replaced the flagstone floor with a poured concrete pad in the spring of 2011. All material and equipment costs were covered
by the Fort Concho Foundation. While the new pad has eliminated safety concerns and has increased usage by staff and renters, we seek
funding to complete the project with a period board floor. This would enhance both the appearance and function of this building space.




Supporting planning document(s):
2007 Site Review


                                                                                            Project Cost:                                Estimated           Project-to-Date
                                                                                            ROW/Easements/Land                                     -                       -
                                                                                            Design                                             1,000                       -
                                                                                            Construction                                      14,000                       -
                                                                                            Other                                                  -                       -

                                                                                            Total                                    $        15,000         $             -
                Insert a picture of your proposed project here.
                Click on Insert in the menu bar, then Object…
                                                                                            Project Schedule:                                                    % Complete
                       Click on the tab Create from File,
                                                                                            Design:         2 months                                                     0%
                              then click Browse…
                                                                                            Implementation: 6 months                                                     0%
                             Browse to your picture,
                            then click Insert and Ok.


                                                                                            Funding Sources:                                                      Amount
                                                                                            Undetermined                                                     $       15,000
                                                                                            Potential: HOT allocation



Operating Budget Impact if Completed:                                       13/14                   14/15           15/16                 16/17                    17/18
Increased rental activity will cover any
I        d     t l ti it ill                                           $            -                       -               -                        -                     -
proportional increase in utilities.



Operating Budget Impact if NOT Completed:                                   13/14                   14/15           15/16                 16/17                    17/18
Staff time and materials to spot-repair this floor year-to-year.       $       1,000                   1,000            1,000                 1,500                    1,500




Performance Measures:
More rentals of facility; increased vendor income at site festivals.
Use and rental activity increases.

Notes:
Staff has estimated the project two ways: materials only with staff and inmate labor. The costs obviously increase if bid out as a total package.
Staff can perform this project with inmate labor in an efficient and proper manner. The Fort Concho Board and staff ranked this project in the top
five in its 2007 site review.




Present Value of Future Cash Flows
  Completing Project $14,720
  Not Completing Project $5,646

Location of Project (provide at least one of the following locators for each project location):
Address:                                       Street Address                             City                                                       State
                            1) Flipper St. & Burgess St.                     San Angelo                                               Texas




                                                                               63
City of San Angelo, Texas
                                           2013-2018 Capital Improvement Plan
                        Heating and Cooling Unit Replacements at Fort Concho
Responsible Division:              Fort Concho                                      Project Manager:                     Bob Bluthardt

Financial Plan:
     Prior           Budget                                           Projected
     Years           12/13            13/14          14/15             15/16               16/17          17/18                Future                  Total
 $              -              -       125,000         20,000             15,000                      -              -                       -   $      160,000

Description:
This CIP project proposes to replace the obsolete and inefficient heating/cooling units at five of the fort's most used structures: Barracks 1 Visitor
Center, Officers' Quarters 1, Officers' Quarters 8, Quartermaster and Commissary. Also, we propose to add basic air conditioning to the Bay 3
Stables Hall. Rental activity at all structures, especially the Stables, has increased in recent years but the Stables is not useable without air
conditioning from May to September. These structures serve the public with public events and meetings, ongoing displays and programs, and
public service. Combined, these six structures consume over 1/3 of the total site power usage. These six structures also serve the majority of
site guests. Replacement would drastically decrease repair costs while reducing power consumption.


Supporting planning document(s):
Staff are compiling estimates for various replacement options at this time.


                                                                                   Project Cost:                              Estimated          Project-to-Date
                                                                                   ROW/Easements/Land                                    -                     -
                                                                                   Design                                                -                     -
                                                                                   Construction                                    160,000                     -
                                                                                   Other                                                 -                     -

                                                                                   Total                                  $        160,000       $             -
                Insert a picture of your proposed project here.
                Click on Insert in the menu bar, then Object…
                                                                                   Project Schedule:                                                 % Complete
                       Click on the tab Create from File,
                                                                                   Design: N/A                                                               0%
                              then click Browse…
                                                                                   Implementation: 2016                                                      0%
                             Browse to your picture,
                            then click Insert and Ok.


                                                                                   Funding Sources:                                                   Amount
                                                                                   Undetermined. Potentially:                                    $      160,000
                                                                                   General Fund, HOT allocation, grants



Operating Budget Impact if Completed:                                  13/14               14/15          15/16                16/17                   17/18
Ongoing repairs l
O   i       i less power savings
                              i                                   $       5,000               7,500         10,000                  12,500                15,000




Operating Budget Impact if NOT Completed:                              13/14               14/15          15/16                16/17                   17/18
Ongoing repairs and possible replacement and lost revenue         $       7,500              10,000         15,000                  20,000                25,000




Performance Measure:
Fewer equipment breakdowns; lower repair costs; fewer visitor & guest complaints; lower power consumption levels for same five buildings.


Notes:
Notes: Replacing older and inefficient HVAC units will result in both lower repair costs and power consumption. Adding air conditioning to the
Stables will increase usage and rental revenue.




Present Value of Future Cash Flows
  Completing Project $202,933
  Not Completing Project $72,469

Location of Project (provide at least one of the following locators for each project location):
Address:                                       Street Address                             City                                            State
                            1) 630 S. Oakes St.                              San Angelo                                    Texas




                                                                          64
City of San Angelo, Texas
                                           2013-2018 Capital Improvement Plan
                                                 Fort Concho Post Bandstand
Responsible Dept:                  Fort Concho                                          Project Manager:                       Robert Bluthardt

Financial Plan:
     Prior           Budget                                           Projected
     Years           12/13            13/14          14/15             15/16                   16/17           17/18                 Future                   Total
 $              -              -        25,000                -                    -                       -               -                        -   $        25,000

Description:
Located at the west end of the Parade Ground, the Post Bandstand represents one of the last exterior improvements for site development. The
bandstand would enhance the site's appearance, provide a historic setting for public programs and concerts, and serve various community
groups. The Fort Concho Board is working with local professional building and trade groups to craft a reconstruction plan.




Supporting planning document(s):
2007 Site Review


                                                                                       Project Cost:                                Estimated           Project-to-Date
                                                                                       ROW/Easements/Land                                     -                       -
                                                                                       Design                                                 -                       -
                                                                                       Construction                                      25,000                       -
                                                                                       Other                                                  -                       -

                                                                                       Total                                    $        25,000         $               -
                Insert a picture of your proposed project here.
                Click on Insert in the menu bar, then Object…
                                                                                       Project Schedule:                                                    % Complete
                       Click on the tab Create from File,
                                                                                       Design: Fall 2012                                                          100%
                              then click Browse…
                                                                                       Implementation: Summer 2013                                                  0%
                             Browse to your picture,
                            then click Insert and Ok.


                                                                                       Funding Sources:                                                      Amount
                                                                                       Potential: Private funding, Fort Concho                          $       25,000




Operating Budget Impact if Completed:                                  13/14                   14/15           15/16                 16/17                    17/18
Utilities based on staff estimates.
Utiliti b     d     t ff ti t                                     $         250                    250             250                       250                      250




Operating Budget Impact if NOT Completed:                              13/14                   14/15           15/16                 16/17                    17/18
None                                                              $            -                       -               -                        -                       -




Performance Measures:
New outdoor concerts; new public events.


Notes:
The Fort Concho Board and staff have ranked this project in the top five in its 2007 site review. Staff have estimated the materials for this project
at $15,000. Labor costs, if project is bid out, doubles overall costs.
Update/January 2009 Staff arranging meeting with San Angelo Home Builders Association to explore volunteer assistance in construction.




Present Value of Future Cash Flows
  Completing Project $25,716
  Not Completing Project Undetermined

Location of Project (provide at least one of the following locators for each project location):
Address:                                       Street Address                             City                                                  State
                            1) 700 Block of S. Oakes                         San Angelo                                          Texas




                                                                          65
City of San Angelo, Texas
                                           2013-2018 Capital Improvement Plan
                        Fort Concho Visitors Center Restoration Improvements
Responsible Dept:                  Fort Concho                                      Project Manager                    Robert Bluthardt

Financial Plan:
     Prior           Budget                                           Projected
     Years           12/13            13/14          14/15             15/16               16/17       17/18                 Future                 Total
 $              -              -       100,000        750,000           250,000             400,000                -                      -   $     1,500,000

Description:
Barracks 1 was renovated as the fort's Visitor Center as part of the major 1995 Regional Urban Design Assessment Team projects that
transformed the surrounding acres into El Paseo de Santa Angela. Unfortunately, the project ran out of money and the east bay of Barracks 1
was left unfinished. A staff-board study has concluded that the restoration of this space must be tied to an overall building renovation to better
serve our guests. This renovation would include an expanded gift shop, visitor orientation area and theatre, climate controlled quality display
space, and administrative offices. Staff will partner with several area cultural agencies to complete a Cultural District Study in the spring of
2012. Formal planning of this Visitor Center will follow the recommendations of that study.


Supporting planning document(s):



                                                                                   Project Cost:                            Estimated         Project-to-Date
                                                                                   ROW/Easements/Land                                 -                     -
                                                                                   Design                                       100,000                     -
                                                                                   Construction                               1,400,000                     -
                                                                                   Other                                              -                     -

                                                                                   Total                                $     1,500,000       $              -
                Insert a picture of your proposed project here.
                Click on Insert in the menu bar, then Object…
                                                                                   Project Schedule:                                              % Complete
                       Click on the tab Create from File,
                                                                                   Design:     2013                                                       0%
                              then click Browse…
                                                                                   Implementation: 2017                                                   0%
                             Browse to your picture,
                            then click Insert and Ok.


                                                                                   Funding Sources:                                                Amount
                                                                                   Type B Sales Tax                                           $     1,000,000
                                                                                   Potential funding: San Angelo Health                       $       500,000
                                                                                   Foundation, Meadows Foundation, and Houston


Operating Budget Impact if Completed:                                  13/14               14/15       15/16                 16/17                  17/18
Extra R
E t Revenue                                                       $     (10,000)            (15,000)      (17,500)               (17,500)              (17,500)




Operating Budget Impact if NOT Completed:                              13/14               14/15       15/16                 16/17                  17/18
Repairs and maintenance                                           $       5,000               7,500       15,000                 17,500                20,000




Performance Measures:
Increased attendance: increased Gift Shop Sales; increased tour revenue; additional media attention


Notes:
Project will focus on barracks 1; possibly barracks 2 and maybe partial reconstruction of Barracks 3-4.




Present Value of Future Cash Flows
  Completing Project $1,356,718
  Not Completing Project $60,739

Location of Project (provide at least one of the following locators for each project location):
Address:                                       Street Address                             City                                          State
                            1) 630 S. Oakes                                  San Angelo                                  Texas




                                                                          66
City of San Angelo, Texas
                                           2013-2018 Capital Improvement Plan
                                   Fort Concho OQ 1 Rear Room & Roof Repairs
Responsible Dept:                  Fort Concho                                           Project Manager:                       Robert Bluthardt

Financial Plan:
     Prior           Budget                                            Projected
     Years           12/13            13/14           14/15             15/16                   16/17           17/18                 Future                   Total
 $              -              -        75,000                -                     -                       -               -                        -   $        75,000

Description:
The rear room of Officers' Quarters 1 lacks a proper floor and the entire rear section is showing signs of structural distress. Staff recommends a
new concrete floor with a wooden floor to follow, relocation of utility pipes and lines, and new supports for the walls. A preliminary engineering
report was completed in 2008. As this building is the city's VIP quarters and serves many guests and functions, these improvements are both
aesthetic and functional to the building's future. The current room condition poses a major safety hazard to staff and contractors. Additionally,
the dormers are failing and need repair.



Supporting planning document(s):
2008 Engineering Report


                                                                                        Project Cost:                                Estimated           Project-to-Date
                                                                                        ROW/Easements/Land                                                             -
                                                                                        Design                                             7,000                       -
                                                                                        Construction                                      68,000                       -
                                                                                        Other                                                  -                       -

                                                                                        Total                                    $        75,000         $             -
                Insert a picture of your proposed project here.
                Click on Insert in the menu bar, then Object…
                                                                                        Project Schedule:                                                    % Complete
                       Click on the tab Create from File,
                                                                                        Design:         2-4 months                                                   0%
                              then click Browse…
                                                                                        Implementation: 4-6 months                                                   0%
                             Browse to your picture,
                            then click Insert and Ok.


                                                                                        Funding Sources:                                                      Amount
                                                                                        Undetermined                                                     $       75,000
                                                                                        Potential: HOT allocation; private contributions                              -



Operating Budget Impact if Completed:                                   13/14                   14/15           15/16                 16/17                    17/18
Utilities
Utiliti cost b
           t based on current events.
                 d          t     t                                $         750                     750             750                    750                      750
Revenue increase                                                           1,000                   1,500           1,500                  1,500                    1,500




Operating Budget Impact if NOT Completed:                               13/14                   14/15           15/16                 16/17                    17/18
No impact                                                          $            -                       -               -                        -                     -




Performance Measures:
Increase in building rentals.
Increase in overall building usage.

Notes:
Preliminary study by staff, and local architect; engineering report available. Full plans available in 60 days.




Present Value of Future Cash Flows
  Completing Project $83,747
  Not Completing Project $72,469

Location of Project (provide at least one of the following locators for each project location):
Address:                                       Street Address                             City                                                   State
                            1) 111 East Ave. D                               San Angelo                                           Texas




                                                                           67
City of San Angelo, Texas
                                              2013-2018 Capital Improvement Plan

                                                      Wayfinding Phases I-III
Responsible Dept:                  Development Services                             Project Manager:                      AJ Fawver

Financial Plan:
      Prior           Budget                                           Projected
     Years            12/13           13/14           14/15             15/16              16/17          17/18                 Future                   Total
 $              -              -               -       100,000           100,000            100,000                   -                        -   $       300,000

Description:
Wayfinding refers to the system of signs & symbols placed at the entrances & throughout districts, campuses & more recently, entire cities. The San
Angelo Convention & Visitors Bureau, City of San Angelo, COSADC/Chamber of Commerce & Angelo State University have jointly funded the
development of a specifications & details manual for a city-wide wayfinding system was completed in 2010. Because one of the most frequently
heard complaints businesses and destination operators hear is that visitors and newcomers to the city have difficulty finding our many sites of
interest, cities must make the visitor/newcomer experience a positive one to ensure that tourists return and/or stay as long as possible. From an
aesthetic standpoint, signs such as those contained in a typical wayfinding system help designate certain areas as unique or interesting for
residents as well.
Supporting planning document(s):
Wayfinding contract between San Angelo CVB and The Douglas Group, Staff Report to City Council regarding wayfinding


                                                                                   Project Cost:                               Estimated           Project-to-Date
                                                                                   ROW/Easements/Land                               10,000                       -
                                                                                   Design                                                -                       -
                                                                                   Construction                                    270,000                       -
                                                                                   Other                                            20,000                       -

                                                                                   Total                                   $       300,000         $               -

                                                                                   Project Schedule:                                                   % Complete
                                                                                   Design:                                                                    50%
                                                                                   Implementation: 2012                                                         0%



                                                                                   Funding Sources:                                                     Amount
                                                                                   Undetermined                                                    $      300,000




Operating Budget Impact if Completed:                                  13/14               14/15          15/16                 16/17                    17/18
Damaged sign replacement                                           $        500                500            500                        500                     500




Operating Budget Impact if NOT Completed:                              13/14               14/15          15/16                 16/17                    17/18
No impact                                                          $           -                   -              -                        -                       -




Performance Measure:
1.) Signs will be installed in three phases per the Wayfinding Master Plan. Performance will be measured by ability to fabricate and install
signs in accordance with the master plan. 2.) Increased visitorship at local tourist sites. 3.) Higher tourist satisfaction surveys (per CVB)

Notes:
Wayfinding signage, large and small, sends messages to the visitor, investor, and local citizens about the quality & character of the city, and
improve San Angelo's ability to attract and maintain economic development assets. Project locations have been outlined and preliminarily accepted
by the Wayfinding Steering Committee.




Present Value of Future Cash Flows
  Completing Project $285,922
  Not Completing Project Undetermined

Location of Project (provide at least one of the following locators for each project location):
Address:                                        Street Address                              City                                               State
                             1) City Wide                                     San Angelo                                   Texas




                                                                          68
City of San Angelo, Texas
                                             2013-2018 Capital Improvement Plan

                               Neighborhood Pedestrian Improvement Program
Responsible Dept:                   MPO                                                 Project Manager:                 Doray Hill, Jr.

Financial Plan:
      Prior           Budget                                              Projected
     Years            12/13            13/14           14/15               15/16               16/17        17/18               Future                   Total
 $              -               -     1,000,000        1,000,000           1,000,000           1,000,000    1,000,000                          -   $     5,000,000

Description:
Improve Pedestrian access in neighborhoods and around schools. To include sidewalks, sidewalk improvements, ped/bike crossing improvements,
off-street bike/ped facilities, bike lanes, bus shelters, improved crosswalks, and crosswalks. This project will be primarily for neighborhoods located
in northeast San Angelo.




Supporting planning document(s):
Bicycle and Pedestrian Plan, Metropolitan Transportation Plan, Pedestrian-Transit Master Plan, COSA Comprehensive Plan


                                                                                       Project Cost:                           Estimated           Project-to-Date
                                                                                       ROW/Easements/Land                                -                       -
                                                                                       Design                                    1,300,000                       -
                                                                                       Construction                              2,900,000                       -
                                                                                       Other                                       800,000                       -

                                                                                       Total                               $     5,000,000         $             -

                 Insert a picture of your proposed project here.                       Project Schedule:                                               % Complete
                 Click on Insert in the menu bar, then Picture…                        Design: Fall 2013-Spring 2014                                            0%
    then find picture in your files…       then double click picture to insert.        Implementation: Fall 2014                                                0%




                                                                                       Funding Sources:                                                 Amount
                                                                                       Transportation Alternatives Grant                           $    4,000,000
                                                                                       20% Match/COSA General Fund                                 $    1,000,000




Operating Budget Impact if Completed:                                      13/14               14/15         15/16              16/17                    17/18
                                                                      $            -                   -             -                     -                     -




Operating Budget Impact if NOT Completed:                                  13/14               14/15         15/16              16/17                    17/18
This project would have relatively low maintenance costs.             $            -                   -       20,000                      -                20,000
Once the infrastructure is completed, future costs would
inlcude re-stripping, minor sidewalk repairs and
signange replacement.

Performance Measures:
Provide a healthy alternative mode of transportation; Provide connectivity to areas of town; Provide non-motorized mobility; Improve neighborhood
aesthetics

Notes:
Project would be submitted under FHWA or FTA program grant call.




Present Value of Future Cash Flows
  Completing Project $4,727,076
 Not Completing Project $37,105

Location of Project (provide at least one of the following locators for each project location):
Address:                                        Street Address                              City                                               State
                             1) 1900 Ricks Drive                               San Angelo                                  Texas
                             2) 120 E. 39th Street                             San Angelo                                  Texas
                             3) 1202 East 22nd                                 San Angelo                                  Texas




                                                                              69
City of San Angelo, Texas
                                            2013-2018 Capital Improvement Plan
                                           Santa Fe Train Depot Improvements
Responsible Division:              Real Estate Division/Office of City Attorney        Project Manager:               Cindy M. Preas

Financial Plan:
     Prior           Budget                                            Projected
     Years           12/13             13/14           14/15            15/16                 16/17       17/18             Future                   Total
 $              -              -         21,238          20,000            15,000               22,500      22,500             25,000          $      126,238

Description:
The Historic Santa Fe Passenger Depot is on the National Register of Historic Places, and as such is an integral part of the City's history. It is
imperative that the City preserve the integrity of this great landmark. The Historic Orient-Santa Fe Depot was built in 1909 as the headquarters
for the Texas Corporation of the KCM&O. The City acquired the historic building on November 15, 1993 and soon entered into a lease with the
Historic Santa Fe Depot, Inc. for management of the historic building. The Depot celebrated its 100th anniversary in September 2010 and it
remains one of the most recognized and photographed landmarks in the City. Projects include Labor costs to replace damaged roof tiles
($12,500); termite treatment ($4,238), install new security lights (2,500), Repair Interior Ceiling ($2,000), Install Automated Fresh Air Intake and
Exhaust ($10,000), Repave/Seal Blacktop ($10,000), Install Ductless Air Conditioning System ($15,000) and Painting Exterior ($45,000).

Supporting planning document(s):
Annual Building Inspection Form


                                                                                      Project Cost:                        Estimated           Project-to-Date
                                                                                      ROW/Easements/Land                                   -                 -
                                                                                      Design                                               -                 -
                                                                                      Construction                                                           -
                                                                                      Other                                    126,238                       -

                                                                                      Total                            $       126,238         $             -
                Insert a picture of your proposed project here.
                Click on Insert in the menu bar, then Object…
                                                                                      Project Schedule:                                            % Complete
                       Click on the tab Create from File,
                                                                                      Design:                                                              0%
                              then click Browse…
                                                                                      Implementation: 2014                                                 0%
                             Browse to your picture,
                            then click Insert and Ok.


                                                                                      Funding Sources:                                              Amount
                                                                                      Undetermined                                             $      126,238




Operating Budget Impact if Completed:                                   13/14                 14/15       15/16             16/17                    17/18
None                                                               $              -                   -           -                    -                     -




Operating Budget Impact if NOT Completed:                               13/14                 14/15       15/16             16/17                    17/18
None                                                               $              -                   -           -                    -                     -




Performance Measure:
Increase in visitor and public bookings.


Notes:
In April 2008, a major storm hit San Angelo, causing damage to the tile roof, three ceiling water blisters in the interior, window damage, and
dormer damage. Subsequently, the damage has progressed. Additionally, parking lot shows signs of stress due to the weight of transit buses.
In 2009, the City spent $49,360 in painting the exterior of the Depot and installing new gutters. In 2012 the City repaired the dormer windows
and purchased replacement roof tiles.




Present Value of Future Cash Flows
  Completing Project $117,954
  Not Completing Project Undetermined

Location of Project (provide at least one of the following locators for each project location):
Address:                                       Street Address                             City                                         State
                            1) 703 S. Chadbourne                             San Angelo                                Texas




                                                                           70
City of San Angelo, Texas
                                            2013-2018 Capital Improvement Plan
                                   Spur Parking Garage Renovation and Repair
Responsible Division:              Real Estate Div./Office of the City Attorney            Project Manager:                           Cindy Preas

Financial Plan:
     Prior           Budget                                             Projected
     Years           12/13             13/14           14/15             15/16                    16/17               17/18                  Future                   Total
 $              -              -      1,825,000                -                      -                       -                   -                         -   $     1,825,000

Description:
The Spur Parking Garage services the downtown area including the new Stephen Central Library. The Spur Parking Garage must be renovated
and repaired to meet City code regulations. Project: Primary Structural Steel Members must be: Cleaned and Sandblasted; apply coating and
paint for rust protection; reinforce and/or replace specific structural steel members. Replacing existing staircase in its entirety. In addition,
include the demolition of existing second, third and fourth level floor systems. Floor system removal will include removal or existing steel decks
and reinforced concrete support slabs. Other features may include removal of any existing light poles and fixtures, restriping, tire stop
replacement and updated signs.


Supporting planning document(s):
Forensic Report, Construction Documents of Plans and Specifications, Survey, Lab Testing, Attorney Fees


                                                                                          Project Cost:                                     Estimated           Project-to-Date
                                                                                          ROW/Easements/Land                                          -                       -
                                                                                          Design                                                 50,000                       -
                                                                                          Construction                                        1,500,000                       -
                                                                                          Other                                                 275,000                       -

                                                                                          Total                                        $      1,825,000         $                 -
                Insert a picture of your proposed project here.
                Click on Insert in the menu bar, then Object…
                                                                                          Project Schedule:                                                         % Complete
                       Click on the tab Create from File,
                                                                                          Design:                                                                           0%
                              then click Browse…
                                                                                          Implementation: 2014                                                              0%
                             Browse to your picture,
                            then click Insert and Ok.


                                                                                          Funding Sources:                                                           Amount
                                                                                          Undetermined                                                          $     1,825,000




Operating Budget Impact if Completed:                                    13/14                    14/15               15/16                  16/17                    17/18
None                                                                $             -         $             -       $           -         $               -       $             -




Operating Budget Impact if NOT Completed:                                13/14                    14/15               15/16                  16/17                    17/18
Loss of Revenue - Garage closed                                     $      20,000           $       20,000        $     20,000          $       20,000          $        20,000




Performance Measure:
Public Safety
Property Revenue will increase based on rental parking slots.

Notes:
In October 2010, the structural integrity of the Sppur Parking Garage was assessed to determine the factors contributing to the corrosion of steel
components. On March 5, 2011, floors 2-4 were closed and use prohibited after load analysis revealed the primary structural building steel
components cannot withstand the associated loading and will require bracing in the transverse direction.

It is recommended the project be completed in one phase ($1,825,000). If project is broken up into three phases costs are considerably higher
($2,950,000). Saving if completed as one phase $1,125,000




Present Value of Future Cash Flows
  Completing Project $1,790,972
  Not Completing Project $94,542

Location of Project (provide at least one of the following locators for each project location):
Address:                                       Street Address                             City                                                          State
                            1) 30 W Twohig Avenue                            San Angelo                                                Texas




                                                                            71
City of San Angelo, Texas
                                                   2013-2018 Capital Improvement Plan

                                                   29th Street Complex Renovation
Responsible Division:                  Parks & Recreation                                       Project Manager:                       Carl White

Financial Plan:
      Prior             Budget                                                Projected
     Years               12/13             13/14            14/15              15/16                   16/17           17/18                 Future                   Total
 $              -                  -                -       1,650,000                      -                       -               -                        -   $     1,650,000

Description:
The intent of the renovation is to co-locate Lake View and Northern Little Leagues at the 29th Street Complex location in order to maximize efficiencies, minimize
maintenance costs and to provide these leagues with new fields and facilities. The current intent is to develop two small complexes with three fields each (two standard
and one t-ball) with separate concession and restrooms or one four-field quad with a shared building with restrooms and possibly separate concessions and two
separate t-ball fields. Of course parking, lighting and other improvements would need to be made.Lake View Little League currently plays on three fields (two standard
and one t-ball) on SAISD property east of Lake View High School. The City provides all landscape maintenance. The League provides facility maintenance and
programming. Relocation of Lake View Little League would eliminate the City’s cost of maintenance at this location which currently runs about $36,000/year. Northern
Little League currently plays on one field at the 29th Street Complex (the only field remaining after the complex was converted to mostly open space) and four fields at
the 19th Street location (counting the challenger field). The City provides all landscape maintenance. The League provides facility maintenance and programming.
Relocation of Northern Little League and conversion of the 19th Street location to practice fields (challenger field to remain) would reduce the City’s cost for
maintenance from about $48,000/year to roughly $20,000/year. The current cost to maintain the 29th Street Complex is about $60,000 (down from about $120,000 prior
to conversion). Again, the City only provides landscape maintenance at this location which is leased from the United States Army Corps of Engineers.

Supporting planning document(s):
2001 and 2005 Parks and Recreation Master Plan


                                                                                               Project Cost:                                Estimated           Project-to-Date
                                                                                               ROW/Easements/Land                                     -                       -
                                                                                               Design                                           100,000                       -
                                                                                               Construction                                   1,550,000                       -
                                                                                               Other                                                  -                       -

                                                                                               Total                                    $     1,650,000         $              -
                    Insert a picture of your proposed project here.
                    Click on Insert in the menu bar, then Object…
                                                                                               Project Schedule:                                                    % Complete
                           Click on the tab Create from File,
                                                                                               Design: 2014/2015                                                             0%
                                  then click Browse…
                                                                                               Implementation: 2014/2015                                                     0%
                                 Browse to your picture,
                                then click Insert and Ok.


                                                                                               Funding Sources:                                                      Amount
                                                                                               Type B Sales Tax                                                 $     1,650,000




Operating Budget Impact if Completed:                                          13/14                   14/15           15/16                 16/17                    17/18
Operations and Maintenance                                                $      50,000                  60,000          70,000                   80,000                  90,000
Close Lake View Little League                                                   (36,000)                (36,000)        (36,000)                 (36,000)                (36,000)
Reduce Northern Little League                                                   (28,000)                (28,000)        (28,000)                 (28,000)                (28,000)



Operating Budget Impact if NOT Completed:                                      13/14                   14/15           15/16                 16/17                    17/18
No impact                                                                 $            -                       -               -                        -                      -




Performance Measure:
To increase the number of fields from 4 practice fields to 4 fully-improved little league and 2 t-ball fields; to allow for approximately 55 teams to play at the
renovated complex; to allow for approximately 550 children to participate in little league baseball at the complex.

Notes:
Project currently on hold, as of December 2012, due to maintenance cost commitment.




Present Value of Future Cash Flows
  Completing Project $1,615,625
  Not Completing Project Undetermined

Location of Project (provide at least one of the following locators for each project location):
Address:                                          Street Address                               City                                                         State
                             1) 2929 Golf Course Rd                             San Angelo                                               Texas




                                                                                  72
City of San Angelo, Texas
                                             2013-2018 Capital Improvement Plan

                                                    Community Aquatics Facility
Responsible Dept:                  Recreation                                            Project Manager:                     MaryAnn Vasquez

Financial Plan:
      Prior            Budget                                           Projected
     Years             12/13           13/14           14/15             15/16                  16/17          17/18                Future                 Total
 $    3,219,787          42,635                 -                                   -                      -              -                      -   $     3,262,422

Description:
Build a regional water park for all ages to promote tourism and economic growth in San Angelo. The City of San Angelo maintains and operates
one Municipal Swimming Pool, built in 1938. A Community Aquatics Facility would provide the City of San Angelo and the region with a new
recreational attraction with all the elements of a major water theme park. The new Aquatics Facility will be constructed on City-owned land along the
Concho River enhancing the river. The park will provide an additional entertainment venue for the citizens of San Angelo and the Concho Valley
region during the hot summer months. Security system installed December 2012. Landscaping is remaining.



Supporting planning document(s):
Parks and Recreation Open Space Master Plans 2001 and 2005


                                                                                        Project Cost:                              Estimated         Project-to-Date
                                                                                        ROW/Easements/Land                                   -                     -
                                                                                        Design                                         255,000              270,565
                                                                                        Construction                                 2,650,000            2,789,318
                                                                                        Other                                          357,422              177,539

                                                                                        Total                                  $     3,262,422       $     3,237,422
                  Insert a picture of your proposed project here.
                  Click on Insert in the menu bar, then Object…
                                                                                        Project Schedule:                                                % Complete
                         Click on the tab Create from File,
                                                                                        Design: March 2011                                                      99%
                                then click Browse…
                                                                                        Construction: May 2011-2012                                               0%
                               Browse to your picture,
                                                                                        Opening: April 2012                                                       0%
                              then click Insert and Ok.


                                                                                        Funding Sources:                                                  Amount
                                                                                        Type B Sales Tax Funds                                       $     3,241,197
                                                                                        Donation from Historic Preservation and                      $        21,225
                                                                                         Old Town Conservancy


Operating Budget Impact if Completed:                                    13/14                  14/15          15/16                16/17                  17/18
Salaries                                                            $     155,500         $      160,000        165,000                170,000               175,000
Utilities                                                                  80,000                 85,000         90,000                 95,000               100,000
Operations and Maintenance                                                 55,000                 60,000         65,000                 70,000                75,000



Operating Budget Impact if NOT Completed:                                13/14                  14/15          15/16                16/17                  17/18
Loss of revenue from existing pool                                  $      50,000                 52,000         54,000                 56,000                58,000




Performance Measures:
Estimated revenue of $122,000.


Notes:
Project substantially complete April 2012 and opened Memorial weekend. Revenues for the season exceeded expectations at $188,000.




Present Value of Future Cash Flows
  Completing Project $1,553,119
  Not Completing Project $254,906

Location of Project (provide at least one of the following locators for each project location):
Address:                                       Street Address                              City                                                  State
                            1) 18 E. Ave A                                    San Angelo                                       Texas




                                                                            73
City of San Angelo, Texas
                                               2013-2018 Capital Improvement Plan

                                           Air Conditioning at Recreation Centers
Responsible Division:                 Parks and Recreation                                  Project Manager:                       MaryAnn Vasquez

Financial Plan:
      Prior              Budget                                           Projected
     Years               12/13            13/14          14/15             15/16                   16/17           17/18                 Future                   Total
 $              -                 -               -       500,000                      -                       -               -                        -   $       500,000

Description:
Install air conditioning units at each Recreation Center (Carl Ray and Southside). Currently the centers do not have air conditioning, the gyms and
meetings do have heating. The summer temperatures in the gym reach over 100 degrees. The gyms are rarely used until 6 pm because of the
extreme heating conditions. All programming takes place in the mornings before Noon, limiting the number of paid campers to 60. Limited athletic
programs take place after 6 pm but the gyms are still extremely hot for players and fans.




Supporting planning document(s):



                                                                                           Project Cost:                                Estimated           Project-to-Date
                                                                                           ROW/Easements/Land                                     -                       -
                                                                                           Design                                                 -                       -
                                                                                           Construction                                           -                       -
                                                                                           Other                                            500,000                       -

                                                                                           Total                                    $       500,000         $              -
                    Insert a picture of your proposed project here.
                    Click on Insert in the menu bar, then Object…
                                                                                           Project Schedule:                                                    % Complete
                           Click on the tab Create from File,
                                                                                           Design: 2014                                                                  0%
                                  then click Browse…
                                                                                           Implementation: 2014                                                          0%
                                 Browse to your picture,
                                then click Insert and Ok.


                                                                                           Funding Sources:                                                      Amount
                                                                                           Undetermined                                                     $      500,000




Operating Budget Impact if Completed:                                      13/14                   14/15           15/16                 16/17                    17/18
Increased electrical costs                                            $      50,000                  55,000          60,000                  65,000                   70,000
Increased revenue for summer camps & sport leagues                          (12,500)                (12,500)        (12,500)                (12,500)                 (12,500)
Operations and Maintenance


Operating Budget Impact if NOT Completed:                                  13/14                   14/15           15/16                 16/17                    17/18
No impact                                                             $            -                       -               -                        -                      -




Performance Measure:
Increase the revenue program opportunities to include the use of the gym, currently no program takes place from Noon-6:00 pm.


Notes:
2-22-12: have had discussions with facilities maintenance about installation of cool roof and other alternatives that may be cost effective in cooling
the gym portion of the building.




Present Value of Future Cash Flows
  Completing Project $705,174
  Not Completing Project Undetermined

Location of Project (provide at least one of the following locators for each project location):
Address:                                       Street Address                              City                                                         State
                            1) 111 Santa Fe Park Drive                        San Angelo                                            Texas
                            2) Ben Ficklin                                    San Angelo                                            Texas




                                                                              74
City of San Angelo, Texas
                                             2013-2018 Capital Improvement Plan

                                           Youth Soccer Complex at Glenna St
Responsible Dept:                  Parks & Recreation                                     Project Manager:                       Carl White

Financial Plan:
      Prior            Budget                                           Projected
     Years             12/13           13/14            14/15            15/16                   16/17           17/18                 Future                   Total
   $195,000              75,000                                 -                    -                       -               -                        -   $       270,000

Description:
Phase I-Lighting of two areas to include four additional fields. Increase participation for league and tournament play, with a direct economic impact
on the sales tax dollars. Opportunity to invite and host more teams during league and tournament games. Installation of 1000 ft safety fence along
Glenna Street to prevent errant balls from landing in the street, providing safety for the players and fans.
Phase II-Repair of large parking lot, overlay and re-striping of current parking lot. Games attract a large number of fans. Addressing the limited
parking and unmarked spaces will prevent accidents.


Supporting planning document(s):
Parks and Recreation Open Space Master Plans 2001 and 2005


                                                                                         Project Cost:                                Estimated           Project-to-Date
                                                                                         ROW/Easements/Land                                      -                      -
                                                                                         Design                                                  -                      -
                                                                                         Construction                                      270,000              195,000
                                                                                         Other                                                   -                      -

                                                                                         Total                                    $        270,000        $       195,000
                  Insert a picture of your proposed project here.
                  Click on Insert in the menu bar, then Object…
                                                                                         Project Schedule:                                                    % Complete
                         Click on the tab Create from File,
                                                                                         Design:                                                                    100%
                                then click Browse…
                                                                                         Implementation:                                                             72%
                               Browse to your picture,
                                                                                         Phase I                                                                    100%
                              then click Insert and Ok.
                                                                                         Phase II                                                                      0%

                                                                                         Funding Sources:                                                      Amount
                                                                                         Type B Sales Tax                                                 $      270,000




Operating Budget Impact if Completed:                                    13/14                   14/15           15/16                 16/17                    17/18
Maintenance provided by SASA                                        $            -                       -               -                        -                     -

No Impact


Operating Budget Impact if NOT Completed:                                13/14                   14/15           15/16                 16/17                    17/18
No Impact                                                           $            -                       -               -                        -                     -




Performance Measures:
Increase the number of games which can be played in the evening by up to six, depending on the time of year


Notes:
Phase I Improvements - irrigation, lighting, and safety fence were completed and installed in March 2008. Phase II parking lot paving and additional
parking improvements are anticipated to be completed in 13/14. NOTE: Phase II is awaiting coordination with the San Angelo Soccer Association
(SASA) who is covering 1/2 of the cost of the project. As of December 2012, we are still waiting on SASA for their matching funds.




Present Value of Future Cash Flows
  Completing Project $75,000
  Not Completing Project Undetermined

Location of Project (provide at least one of the following locators for each project location):
Address:                                       Street Address                              City                                                       State
                            1) 1601 Glenna St                                 San Angelo                                           Texas




                                                                            75
City of San Angelo, Texas
                                               2013-2018 Capital Improvement Plan

                                           Bradford Neighborhood & School Park
Responsible Division:              Parks                                                  Project Manager:                       Carl White

Financial Plan:
      Prior             Budget                                          Projected
     Years              12/13          13/14           14/15             15/16                   16/17           17/18                 Future                   Total
                         175,000                                -                    -                       -               -                        -   $       175,000

Description:
To develop the existing undeveloped property adjacent to the new Bradford Elementary School (property owned by SAISD) as a neighborhood and
school park. Development would include a small pavilion or picnic shelter, some unique playground equipment to complement the equipment at the
school, walkways, practice ball field space, some lighting, some irrigation, and some other basic park amenities.




Supporting planning document(s):



                                                                                         Project Cost:                                Estimated           Project-to-Date
                                                                                         ROW/Easements/Land                                      -                      -
                                                                                         Design                                              5,000                      -
                                                                                         Construction                                      170,000                      -
                                                                                         Other                                                   -                      -

                                                                                         Total                                    $        175,000        $             -
                  Insert a picture of your proposed project here.
                  Click on Insert in the menu bar, then Object…
                                                                                         Project Schedule:                                                    % Complete
                         Click on the tab Create from File,
                                                                                         Design: 2013                                                                  0%
                                then click Browse…
                                                                                         Implementation: Spring 2014                                                   0%
                               Browse to your picture,
                              then click Insert and Ok.

                                                                                         Funding Sources:                                                      Amount
                                                                                         Type B Sales Tax                                                 $      175,000




Operating Budget Impact if Completed:                                    13/14                   14/15           15/16                 16/17                    17/18
Operations and Maintenance                                          $            -                 17,500          17,850                  18,200                  18,550




Operating Budget Impact if NOT Completed:                                13/14                   14/15           15/16                 16/17                    17/18
No impact                                                           $            -                       -               -                        -                     -




Performance Measure:
To create park visitation to an anticipated rate of 10,830 visitors each year.


Notes:
Joint park development project with SAISD. Interlocal cooperation agreement with SAISD should be complete in March 2013. Design process will
begin after that.




Present Value of Future Cash Flows
  Completing Project $242,486
  Not Completing Project Undetermined

Location of Project (provide at least one of the following locators for each project location):
Address:                                        Street Address                              City                                                      State
                             1) 1202 E. 22nd St.                              San Angelo                                           Texas




                                                                            76
City of San Angelo, Texas
                                             2013-2018 Capital Improvement Plan

                                    Brentwood Neighborhood Park Renovation
Responsible Dept:                 Parks                                                 Project Manager:                       Carl White

Financial Plan:
      Prior          Budget                                           Projected
     Years           12/13           13/14           14/15             15/16                   16/17           17/18                 Future                   Total
 $              -             -               -       275,000                      -                       -               -                           $        275,000

Description:
Renovate the existing neighborhood park with a picnic shelter/pavilion, a playground, walkways, lighting, and landscaping. This project was
identified as needed due to several reasons: the playground equipment does not meet current national safety standards and has outlived its
reasonable lifespan of up to twenty years; walkways are not fully accessible; picnic shelter/pavilions are recognized as highly needed by both the
2001 and 2005 updated Parks, Recreation, and Open Space Master Plan; the existing irrigation system is poor; park and security lighting needs to
be improved; and the aesthetic quality of the park needs to be improved. This project will also include development of the 2003, 4 acre addition to
this park with the Jefferson Street pond with walkways, pond access, picnic tables, benches, etc. Brentwood Park was developed in the late 1950's
and early 1960's.
Supporting planning document(s):
2001 and 2005 updated Parks, Recreation, and Open Space Master Plan
Parks Department internal needs assessments

                                                                                       Project Cost:                                Estimated          Project-to-Date
                                                                                       ROW/Easements/Land                                      -                     -
                                                                                       Design                                             10,000                     -
                                                                                       Construction                                      265,000                     -
                                                                                       Other                                                   -                     -

                                                                                       Total                                    $        275,000        $             -

Insert a picture of your proposed project here.                Click on Insert in Project Schedule:                                                         % Complete
 the menu bar, then Object…                   Click on the tab Create from File, Design:                                                                             0%
    then click Browse…          Browse to your picture, then click Insert and     Implementation: 2014/2015                                                          0%



                                                                                       Funding Sources:                                                      Amount
                                                                                       Type B sales tax                                                 $      275,000




Operating Budget Impact if Completed:                                  13/14                   14/15           15/16                 16/17                    17/18
Based on renovation value.                                        $            -                       -         15,000                  15,250                  15,500

Operations and Maintenance


Operating Budget Impact if NOT Completed:                              13/14                   14/15           15/16                 16/17                    17/18
No impact                                                         $            -                       -               -                        -                     -




Performance Measures:
Increase park visitation from an estimated 10,830 visitors each year to an estimated 16,245 visitors each year


Notes:




Present Value of Future Cash Flows
  Completing Project $307,267
  Not Completing Project Undetermined

Location of Project (provide at least one of the following locators for each project location):
Address:                                        Street Address                              City                                                    State
                             1) 1300 Block Howard                             San Angelo                                         Texas




                                                                          77
City of San Angelo, Texas
                                              2013-2018 Capital Improvement Plan

                                         Brown Neighborhood Park Renovation
Responsible Dept:                Parks                                             Project Manager:                       Carl White

Financial Plan:
      Prior          Budget                                           Projected
     Years           12/13            13/14          14/15             15/16              16/17           17/18                 Future                   Total
 $              -                              -              -         175,000                       -               -                        -   $       175,000

Description:
Renovate the existing neighborhood park with a picnic shelter/pavilion, a playground, walkways, lighting, and landscaping. This project was
identified as needed due to several reasons: the playground equipment does not meet current national safety standards and has outlived its
reasonable lifespan of up to twenty years; walkways are not fully accessible; picnic shelter/pavilions are recognized as highly needed by both the
2001 and 2005 updated Parks, Recreation, and Open Space Master Plan; the existing irrigation system is poor; park and security lighting needs to
be improved; and the aesthetic quality of the park needs to be improved. Brown Park was developed in 1952 and has not been renovated since
that time.

Supporting planning document(s):
2001 and 2005 updated Parks, Recreation, and Open Space Master Plan
Parks Department internal needs assessments

                                                                                  Project Cost:                                Estimated           Project-to-Date
                                                                                  ROW/Easements/Land                                      -                      -
                                                                                  Design                                              5,000                      -
                                                                                  Construction                                      170,000                      -
                                                                                  Other                                                   -                      -

                                                                                  Total                                    $        175,000        $             -

Insert a picture of your proposed project here.                Click on Insert in Project Schedule:                                                    % Complete
 the menu bar, then Object…                   Click on the tab Create from File, Design: 2015                                                                   0%
    then click Browse…          Browse to your picture, then click Insert and     Implementation: 2016                                                          0%



                                                                                  Funding Sources:                                                      Amount
                                                                                  Type B sales tax                                                 $      175,000




Operating Budget Impact if Completed:                                 13/14               14/15           15/16                 16/17                    17/18
Operations and Maintenance                                        $           -                   -               -                 12,000                  12,500
Based on renovation value
                    value.



Operating Budget Impact if NOT Completed:                             13/14               14/15           15/16                 16/17                    17/18
No impact                                                         $           -                   -               -                        -                     -




Performance Measures:
Increase park visitation from an estimated 5,415 visitors each year to an estimated 10,830 visitors each year


Notes:




Present Value of Future Cash Flows
  Completing Project $187,898
  Not Completing Project Undetermined

Location of Project (provide at least one of the following locators for each project location):
Address:                                        Street Address                              City                                               State
                             1) 300 Block Johnson Street and W Twohig Ave. San Angelo                                       Texas




                                                                         78
City of San Angelo, Texas
                                                 2013-2018 Capital Improvement Plan

                                                        Central Control Irrigation
Responsible Dept:                    Parks & Recreation                                     Project Manager:                     Carl White

Financial Plan:
      Prior              Budget                                           Projected
     Years               12/13           13/14            14/15            15/16                   16/17          17/18                Future                   Total
 $              -         110,500                 -               -                    -                      -              -                           $        110,500

Description:
The City recently purchased the components needed to set up the new Rio Concho Sports Complex and Community Park with a central control
irrigation system. Park's staff is installing, in-house, the central control irrigation system controller at 18 park and sports field sites (22 controllers).
This type of computerized automated system will allow the staff to control the settings, troubleshoot, receive data on problematic irrigation systems,
monitor and utilize evapotranspiration data, etc. from a single office location. The conservation of water and the reduction of costs will be greatly
improved with this new system. Substantial amounts of time (labor), fuel, and water will be saved. In addition, this controller system could also be
used in future years to monitor/control lights at these locations, which would decrease the costs for labor, fuel, and electricity as well.

Supporting planning document(s):



                                                                                           Project Cost:                              Estimated          Project-to-Date
                                                                                           ROW/Easements/Land                                    -                     -
                                                                                           Design                                           10,000                     -
                                                                                           Construction                                                                -
                                                                                           Other                                           100,500             104,611

                                                                                           Total                                  $        110,500        $      104,611
                    Insert a picture of your proposed project here.
                    Click on Insert in the menu bar, then Object…
                                                                                           Project Schedule:                                                  % Complete
                           Click on the tab Create from File,
                                                                                           Design:                                                                  100%
                                  then click Browse…
                                                                                           Implementation: 2013                                                      95%
                                 Browse to your picture,
                                then click Insert and Ok.

                                                                                           Funding Sources:                                                    Amount
                                                                                           Type B sales tax                                                      $110,500




Operating Budget Impact if Completed:                                      13/14                   14/15          15/16                16/17                    17/18
General fund savings for labor, fuel, and water                       $     (54,000)                (56,700)       (59,500)                (62,200)                (64,900)
(Funds listed describe cost savings per year)



Operating Budget Impact if NOT Completed:                                  13/14                   14/15          15/16                16/17                    17/18
Labor, fuel, and water                                                $            -                  2,700          5,500                    8,200                10,900




Performance Measure:
Annual water costs decreased up to 20% at these sites; Labor reduced by 450 man hours; Fuel reduced by 100 gallons for the Irrigation crews.


Notes:
The cost for purchasing and installing central control systems is $5,000 per irrigation controller site. Parks is requesting 22 sites. As of December
2012, project is 95% complete and should be fully completed March 2013.




Present Value of Future Cash Flows
  Completing Project $(170,086)
  Not Completing Project $25,324

Location of Project (provide at least one of the following locators for each project location):
Address:                                        Street Address                              City                                                      State
                             1) City wide                                     San Angelo                                           Texas




                                                                              79
City of San Angelo, Texas
                                                2013-2018 Capital Improvement Plan

                       Civic League Park, Additional Improvements (IWLC Basin 4)
Responsible Dept:                     Parks & Recreation                                     Project Manager:                       Carl White

Financial Plan:
      Prior              Budget                                            Projected
     Years               12/13            13/14            14/15            15/16                   16/17           17/18                 Future                   Total
 $              -                 -        115,000                 -                    -                       -               -                        -   $       115,000

Description:
This improvement was programmed during the design of the last expansion of the International Waterlily Collection. A shortage of funding however
did not permit its implementation. Specifically, this improvement project includes the addition of the fourth raised basin in the northeast quadrant of
the collection site (see picture below). Design was completed in 2004, however that design is being modified to be completed at a later date.




Supporting planning document(s):
Design plans complete from 2004


                                                                                            Project Cost:                                Estimated           Project-to-Date
                                                                                            ROW/Easements/Land                                      -                      -
                                                                                            Design                                                  -                      -
                                                                                            Construction                                      100,000                      -
                                                                                            Other                                              15,000                      -

                                                                                            Total                                    $        115,000        $             -
                    Insert a picture of your proposed project here.
                    Click on Insert in the menu bar, then Object…
                                                                                            Project Schedule:                                                    % Complete
                           Click on the tab Create from File,
                                                                                            Design: 2013                                                                  0%
                                  then click Browse…
                                                                                            Implementation: 2013/2014                                                     0%
                                 Browse to your picture,
                                then click Insert and Ok.

                                                                                            Funding Sources:                                                      Amount
                                                                                            Potential Grant Funding                                          $      100,000
                                                                                            Potential funding from San Angelo Area                           $       15,000
                                                                                            Foundation


Operating Budget Impact if Completed:                                       13/14                   14/15           15/16                 16/17                    17/18
Increased use of water, supplies, electricity, and cleaning            $            -                  2,000           2,050                     2,100                 2,150

Operations and Maintenance


Operating Budget Impact if NOT Completed:                                   13/14                   14/15           15/16                 16/17                    17/18
N/A                                                                    $            -                       -               -                        -                     -




Performance Measures:
Increase the number of lilies displayed from 210 to 240 at the collection display
Increase the number of visitors from an estimated 12,635 each year to an estimated 14,440 each year

Notes:




Present Value of Future Cash Flows
  Completing Project $120,624
  Not Completing Project Undetermined

Location of Project (provide at least one of the following locators for each project location):
Address:                                        Street Address                              City                                                         State
                             1) 900 W Beauregard and N Park                   San Angelo                                              Texas




                                                                               80
City of San Angelo, Texas
                                                2013-2018 Capital Improvement Plan

                                    Fairmount Cemetery -- Phase I Improvements
Responsible Dept:                   Parks & Recreation                                     Project Manager:                       Carl White

Financial Plan:
      Prior           Budget                                             Projected
     Years            12/13             13/14            14/15            15/16                   16/17           17/18                 Future                   Total
 $              -               -                -        600,000                     -                       -               -                        -   $       600,000

Description:
Phase I of the Friends of Fairmount Master Plan recommended improvements which includes a new wider and more attractive entrance to
Fairmount Cemetery and the first set of 2 columbaria (2 out of 6) on a closed internal road on the south side of the cemetery. The project includes
design, construction and some limited landscaping.




Supporting planning document(s):
Friends of Fairmount Cemetery Master Plan adopted by City Council on July 17, 2012.


                                                                                          Project Cost:                                Estimated           Project-to-Date
                                                                                          ROW/Easements/Land                                      -                      -
                                                                                          Design                                             60,000                      -
                                                                                          Construction                                      500,000                      -
                                                                                          Other                                              40,000                      -

                                                                                          Total                                    $        600,000        $             -

                 Insert a picture of your proposed project here.                          Project Schedule:                                                    % Complete
                 Click on Insert in the menu bar, then Picture…                           Design:                                                                       0%
    then find picture in your files…       then double click picture to insert.           Implementation:                                                               0%



                                                                                          Funding Sources:                                                      Amount
                                                                                          Friends of Fairmount funding                                     $      600,000
                                                                                          Undetermined



Operating Budget Impact if Completed:                                     13/14                   14/15           15/16                 16/17                    17/18
Operations and Maintenance                                           $            -                       -          5,000                     5,100                 5,200




Operating Budget Impact if NOT Completed:                                 13/14                   14/15           15/16                 16/17                    17/18
                                                                     $            -                       -               -                        -                     -




Performance Measures:
allow for new revenue stream with sale of columbaria niches estimated at $25,000/year for over 20 years.
increase safety and thus reduce accidents entering and exiting the cemetery.

Notes:




Present Value of Future Cash Flows
  Completing Project $592,022
  Not Completing Project Undetermined

Location of Project (provide at least one of the following locators for each project location):
Address:                                        Street Address                              City                                                       State
                             1) 1120 West Avenue N.                           San Angelo                                            Texas




                                                                             81
City of San Angelo, Texas
                                              2013-2018 Capital Improvement Plan

                                                 Hilltop Trail at Lake Nasworthy
Responsible Dept:                   Parks & Recreation                                       Project Manager:                       Carl White

Financial Plan:
      Prior           Budget                                               Projected
     Years            12/13             13/14            14/15              15/16                   16/17           17/18                 Future                   Total
 $              -               -        200,000                   -                    -                       -               -                        -   $       200,000

Description:
This project includes the development of a 1.5 mile trail on the top of the hill at Hillside Drive and Gun Club Road. The proposed trail would be about
14 feet wide and constructed of crushed limestone. Signage would also be included.




Supporting planning document(s):
Parks, Recreation and Open Space Master Plan adopted by City Council on October 16, 2012.


                                                                                            Project Cost:                                Estimated           Project-to-Date
                                                                                            ROW/Easements/Land                                      -                      -
                                                                                            Design                                             15,000                      -
                                                                                            Construction                                      180,000                      -
                                                                                            Other                                               5,000                      -

                                                                                            Total                                    $        200,000        $             -

                 Insert a picture of your proposed project here.                            Project Schedule:                                                    % Complete
                 Click on Insert in the menu bar, then Picture…                             Design:                                                                       0%
    then find picture in your files…       then double click picture to insert.             Implementation:                                                               0%



                                                                                            Funding Sources:                                                      Amount
                                                                                            Potential TPWD Trails Grant                                      $      160,000
                                                                                            Potential Lake Nasworthy Trust Fund Interest                     $       40,000
                                                                                              Account


Operating Budget Impact if Completed:                                       13/14                   14/15           15/16                 16/17                    17/18
Ongoing Maintenance                                                    $            -                  4,000           4,100                     4,200                 4,300




Operating Budget Impact if NOT Completed:                                   13/14                   14/15           15/16                 16/17                    17/18
None                                                                   $            -                       -               -                        -                     -




Performance Measures:
Improve safety by reducing pedestrian traffic off Hillside Drive


Notes:




Present Value of Future Cash Flows
  Completing Project $211,807
  Not Completing Project Undetermined

Location of Project (provide at least one of the following locators for each project location):
Address:                                        Street Address                              City                                                         State
                             1) 2100 Gun Club Rd.                             San Angelo                                              Texas




                                                                               82
City of San Angelo, Texas
                                              2013-2018 Capital Improvement Plan

                            Middle Concho Park Main Boat Ramp Improvements
Responsible Dept:                   Parks and Recreation                                   Project Manager:                       Carl White

Financial Plan:
      Prior           Budget                                             Projected
     Years            12/13             13/14           14/15             15/16                   16/17           17/18                 Future                   Total
 $              -               -        471,000                 -                    -                       -               -                        -   $       471,000

Description:
Project includes the complete renovation of the main boating ramp at Middle Concho Park at Lake Nasworthy. The ramp would be widened from 2
to 4 lanes, additional parking would be provided, a new restroom facility with showers would be added, lighting improvements made, new signage
added and improvements to walkways made and docking made. This project includes design work and permitting costs.




Supporting planning document(s):
Parks, Recreation and Open Space Master Plan adopted by City Council on October 16, 2012.


                                                                                          Project Cost:                                Estimated           Project-to-Date
                                                                                          ROW/Easements/Land                                      -                      -
                                                                                          Design                                             34,000                      -
                                                                                          Construction                                      425,000                      -
                                                                                          Other                                              12,000                      -

                                                                                          Total                                    $        471,000        $             -

                 Insert a picture of your proposed project here.                          Project Schedule:                                                    % Complete
                 Click on Insert in the menu bar, then Picture…                           Design:                                                                       0%
    then find picture in your files…       then double click picture to insert.           Implementation:                                                               0%



                                                                                          Funding Sources:                                                      Amount
                                                                                          Potential TPWD State Boating Access Grant                        $      353,250
                                                                                          Potential Lake Nasworthy Trust Fund Interest                     $      117,750
                                                                                            Account


Operating Budget Impact if Completed:                                     13/14                   14/15           15/16                 16/17                    17/18
Operating and Maintenance                                            $            -                  5,000           5,100                     5,200                 5,300




Operating Budget Impact if NOT Completed:                                 13/14                   14/15           15/16                 16/17                    17/18
                                                                     $            -                       -               -                        -                     -




Performance Measures:
increase the Middle Concho Park entrance gate fee revenues by an estimated 15-20 % due to increased usage.
double the number of boats that can utilize the ramp at one time from 2 to 4.

Notes:




Present Value of Future Cash Flows
  Completing Project $481,500
  Not Completing Project Undetermined

Location of Project (provide at least one of the following locators for each project location):
Address:                                        Street Address                              City                                                       State
                             1) Middle Concho East & West/Red Bluff Rd.       San Angelo                                            Texas




                                                                             83
City of San Angelo, Texas
                                               2013-2018 Capital Improvement Plan

                                                                Red Arroyo Trail
Responsible Dept:                    Parks & Recreation                                     Project Manager:                       Clinton Bailey

Financial Plan:
      Prior              Budget                                           Projected
     Years                12/13          13/14            14/15            15/16                   16/17           17/18                 Future                   Total
 $              -        3,200,000        400,000          400,000                     -                       -               -                           $      4,000,000

Description:
The Red Arroyo Trail project has been a dream for many for a long time. The vision for this project is to develop a multiple-use trail system along the
Red Arroyo from Sherwood Way in the West to Knickerbocker Road in the East and South from the confluence near College Hills Blvd. to Sunset
Drive. This project will provide for an excellent alternative transportation network as well as a fantastic amenity for recreation. Included with this
project will be a 3-mile, 10' wide multiple-use trail (for non-motorized travel); three small parking areas; at least three small pocket parks; an 18-hole
disc golf course; some landscaping; an off-leash area for dogs; some lighting; signage; drinking fountains; benches; and restroom facilities. As of
December 2012, we are about 60% complete with design, which is being performed by City Staff.


Supporting planning document(s):
Parks, Recreation, and Open Space Master Plan (2001) and Update (2005); San Angelo Bicycle and Pedestrian Plan (2005);
MPO Bike and Pedestrian Trail Plan 2006.

                                                                                           Project Cost:                                Estimated          Project-to-Date
                                                                                           ROW/Easements/Land                                     -                      -
                                                                                           Design                                           300,000                      -
                                                                                           Construction                                   3,665,000                      -
                                                                                           Other                                             35,000                      -

                                                                                           Total                                    $     4,000,000         $             -
                    Insert a picture of your proposed project here.
                    Click on Insert in the menu bar, then Object…
                                                                                           Project Schedule:                                                    % Complete
                           Click on the tab Create from File,
                                                                                           Design: 2012                                                                60%
                                  then click Browse…
                                                                                           Implementation: 2014/2015                                                     0%
                                 Browse to your picture,
                                then click Insert and Ok.


                                                                                           Funding Sources:                                                      Amount
                                                                                           State Grant                                                           $3,200,000
                                                                                           Type B sales tax                                                        $325,000
                                                                                           Stormwater funding                                                      $325,000
                                                                                           Private fundraising                                                     $150,000

Operating Budget Impact if Completed:                                      13/14                   14/15           15/16                 16/17                    17/18
Based on proposed design and current rates of maintenance             $            -                       -        $75,000                  $75,500                $76,000
for lighting, landscape services, and general cleaning and
Operations and Maintenance


Operating Budget Impact if NOT Completed:                                  13/14                   14/15           15/16                 16/17                    17/18
No impact                                                             $            -                       -               -                        -                     -




Performance Measures:
Increase the number of non-motorized vehicle transportation connection by about 3 miles; generate an estimated 43,320 users each year.


Notes:
$3,200,000 in funding secured from TPWD Grant




Present Value of Future Cash Flows
  Completing Project $4,187,838
 Not Completing Project Undetermined

Location of Project (provide at least one of the following locators for each project location):
Address:                                          Street Address                            City                                                        State
                             1) varied -- runs from Sherwood Way in the West San Angelo                                              Texas
                             2) to Knickerbocker in the East to Sunset Drive
                             3) in the South




                                                                              84
City of San Angelo, Texas
                                               2013-2018 Capital Improvement Plan

                                       Rio Vista Neighborhood Park Renovation
Responsible Dept:                  Parks & Recreation Department                          Project Manager:                       Carl White

Financial Plan:
      Prior            Budget                                           Projected
     Years             12/13           13/14           14/15             15/16                   16/17           17/18                 Future                   Total
 $      762,907          50,993                 -               -                    -                       -               -                        -   $       813,900

Description:
Renovate the existing neighborhood park with a picnic shelter/pavilion, a playground, walkways, lighting, and landscaping. This project was
identified as needed due to several reasons: the playground equipment does not meet current national safety standards and has outlived its
reasonable lifespan of up to twenty years; walkways are not fully accessible; picnic shelter/pavilions are recognized as highly needed by both the
2001 and 2005 updated Parks, Recreation, and Open Space Master Plan; the existing irrigation system is in poor condition; park and security
lighting needs to be improved; and the aesthetic quality of the park needs to be improved. Rio Vista Park was developed in 1971 and has not been
renovated since that time. City to install playgrounds and trails in-house.

Supporting planning document(s):
2001 and 2005 updated Parks, Recreation, and Open Space Master Plan
Parks Department internal needs assessments

                                                                                         Project Cost:                                Estimated           Project-to-Date
                                                                                         ROW/Easements/Land                                      -                      -
                                                                                         Design                                             65,000                65,000
                                                                                         Construction                                      748,900              697,907
                                                                                         Other                                                   -                      -

                                                                                         Total                                    $        813,900        $      762,907
                  Insert a picture of your proposed project here.
                  Click on Insert in the menu bar, then Object…
                                                                                         Project Schedule:                                                    % Complete
                         Click on the tab Create from File,
                                                                                         Design: Spring 2011                                                        100%
                                then click Browse…
                                                                                         Implementation: Spring 2012                                                 93%
                               Browse to your picture,
                                                                                         Completion: Spring 2013
                              then click Insert and Ok.

                                                                                         Funding Sources:                                                      Amount
                                                                                         Section 108 Loan & CDBG Funds                                    $      711,000
                                                                                         4B Half-Cent Sales Tax Funds                                     $       97,900
                                                                                         Donation from Architect                                                   $5,000


Operating Budget Impact if Completed:                                    13/14                   14/15           15/16                 16/17                    17/18
Operations and Maintenance                                          $      15,000                  15,750          16,500                  17,250                  18,000
Based on some additional improvements to the park



Operating Budget Impact if NOT Completed:                                13/14                   14/15           15/16                 16/17                    17/18
No impact                                                           $            -                       -               -                        -                     -




Performance Measures:
Increase park visitation from an estimated 7,220 visitors each year to an estimated 12,635 visitors each year


Notes:
Project is mostly complete. As of December 2012, contractor has reached substantial completion. City to install playgrounds and walking trail.




Present Value of Future Cash Flows
  Completing Project $128,856
  Not Completing Project Undetermined

Location of Project (provide at least one of the following locators for each project location):
Address:                                        Street Address                              City                                                      State
                             1) Ben Ficklin Rd. and Ave. X                    San Angelo                                           Texas




                                                                            85
City of San Angelo, Texas
                                               2013-2018 Capital Improvement Plan

                    Rio Concho Community Park & Texas Bank Sports Complex
Responsible Dept:                  Parks & Recreation                                    Project Manager:                   Carl White

Financial Plan:
      Prior          Budget                                            Projected
     Years           12/13             13/14            14/15           15/16                   16/17       17/18                 Future                   Total
 $              -              -                -         85,000                    -                                   -           565,000         $        650,000

Description:
This project is to add elements to the Rio Concho Community Park & Texas Bank Sports Complex that were originally envisioned such as a pavilion
next to the playgrounds and a restroom facility at quad 4. This project also includes a restroom at quad 2 which was not originally envisioned but is
now needed based on our experience with rentals, events and tournaments. The pavilion is needed because the park is intended to serve as a
community park but currently can't meet that need unless a pavilion is added which would help to better host community events, private events and
general park usage.



Supporting planning document(s):
2012 Parks, Recreation and Open Space Master Plan.
Parks and Recreation internal needs assessment.

                                                                                        Project Cost:                            Estimated          Project-to-Date
                                                                                        ROW/Easements/Land                                  -                     -
                                                                                        Design                                         35,000                     -
                                                                                        Construction                                  615,000                     -
                                                                                        Other                                               -                     -

                                                                                        Total                                $        650,000        $             -

Insert a picture of your proposed project here.                 Click on Insert in Project Schedule:                                                     % Complete
 the menu bar, then Object…                   Click on the tab Create from File, Design:                                                                          0%
  then click Browse…           Browse to your picture, then click Insert and Ok. Implementation: 2014                                                             0%



                                                                                        Funding Sources:                                                  Amount
                                                                                        Type B sales tax                                             $       89,500
                                                                                        Undetermined                                                 $      560,500



Operating Budget Impact if Completed:                                   13/14                   14/15       15/16                 16/17                    17/18
Operations and maintenance.                                        $            -                  3,000       3,075                     3,150                 3,225




Operating Budget Impact if NOT Completed:                               13/14                   14/15       15/16                 16/17                    17/18
No impact                                                          $            -                       -           -                        -                     -




Performance Measures:
Pavilion: to increase community park attendance from an estimated 5,415 to an anticipated 14,600 visitors each year.
Restrooms: to increase the number of tournaments, rentals and special events.

Notes:




Present Value of Future Cash Flows
  Completing Project $93,512
  Not Completing Project Undetermined

Location of Project (provide at least one of the following locators for each project location):
Address:                                        Street Address                              City                                                 State
                             1) 1822 River Dr.                                San Angelo                                      Texas




                                                                           86
City of San Angelo, Texas
                                                2013-2018 Capital Improvement Plan

                                      Santa Rita Neighborhood Park Renovation
Responsible Dept:                   Parks & Recreation                                     Project Manager:                    Carl White

Financial Plan:
      Prior           Budget                                             Projected
     Years            12/13             13/14            14/15            15/16                   16/17        17/18                 Future                   Total
 $              -               -                -               -                    -            150,000                 -                        -   $       150,000

Description:
Renovate the existing neighborhood park to meet the desires of the neighborhood (Greater Santa Rita Home Owners' Association) and adjacent
Santa Rita Elementary School. Improvements could likely include a new irrigation system, walkways, lighting, unique play features, tennis court
refurbishment, picnic areas, some landscaping and general park improvements.




Supporting planning document(s):
2012 Parks, Recreation and Open Space Master Plan.
Parks and Recreation internal needs assessment.

                                                                                          Project Cost:                             Estimated           Project-to-Date
                                                                                          ROW/Easements/Land                                   -                      -
                                                                                          Design                                          10,000                      -
                                                                                          Construction                                   140,000                      -
                                                                                          Other                                                -                      -

                                                                                          Total                                 $        150,000        $             -

Insert a picture of your proposed project here.                 Click on Insert in Project Schedule:                                                        % Complete
 the menu bar, then Object…                   Click on the tab Create from File, Design:                                                                             0%
  then click Browse…           Browse to your picture, then click Insert and Ok. Implementation: 2016/2017                                                           0%



                                                                                          Funding Sources:                                                   Amount
                                                                                          Type B sales tax                                              $       89,500
                                                                                          Potential Homeowner Association fundraising                   $       60,500



Operating Budget Impact if Completed:                                     13/14                   14/15        15/16                 16/17                    17/18
Operations and Maintenance                                           $            -                       -            -                 15,000                  15,375




Operating Budget Impact if NOT Completed:                                 13/14                   14/15        15/16                 16/17                    17/18
No impact                                                            $            -                       -            -                        -                     -




Performance Measures:
To create park visitation to an anticipated rate of 10,830 visitors each year.


Notes:




Present Value of Future Cash Flows
  Completing Project $167,019
  Not Completing Project Undetermined

Location of Project (provide at least one of the following locators for each project location):
Address:                                        Street Address                              City                                                    State
                             1) 1111 S. Madison St.                           San Angelo                                         Texas




                                                                             87
City of San Angelo, Texas
                                                2013-2018 Capital Improvement Plan

                            South Concho Park Main Boat Ramp Improvements
Responsible Dept:                   Parks and Recreation                                   Project Manager:                       Carl White

Financial Plan:
      Prior           Budget                                             Projected
     Years            12/13             13/14           14/15             15/16                   16/17           17/18                 Future                   Total
 $              -               -                        438,600                      -                       -               -                        -   $       438,600

Description:
Project includes the complete renovation of the main boating ramp at South Concho Park at Lake Nasworthy. The ramp would be widened from 2 to
4 lanes, additional parking would be provided, a new restroom facility with showers would be added, lighting improvements made, new signage
added and improvements to walkways made and docking made. This project includes design work and permitting costs.




Supporting planning document(s):
Parks, Recreation and Open Space Master Plan adopted by City Council on October 16, 2012.


                                                                                          Project Cost:                                Estimated           Project-to-Date
                                                                                          ROW/Easements/Land                                      -                      -
                                                                                          Design                                             32,000                      -
                                                                                          Construction                                      395,000                      -
                                                                                          Other                                              11,600                      -

                                                                                          Total                                    $        438,600        $                 -

                 Insert a picture of your proposed project here.                          Project Schedule:                                                    % Complete
                 Click on Insert in the menu bar, then Picture…                           Design:                                                                       0%
    then find picture in your files…       then double click picture to insert.           Implementation:                                                               0%



                                                                                          Funding Sources:                                                      Amount
                                                                                          Potential TPWD State Boating Access Grant                         $          328,950 
                                                                                          Potential Lake Nasworthy Trust Fund Interest                      $          109,650 
                                                                                            Account


Operating Budget Impact if Completed:                                     13/14                   14/15           15/16                 16/17                    17/18
Operating and Maintenance                                            $            -                       -          8,000                     8,150                   8,300




Operating Budget Impact if NOT Completed:                                 13/14                   14/15           15/16                 16/17                    17/18
None                                                                 $            -                       -               -                        -                         -




Performance Measures:
Double the number of boats that can utilize the ramp at one time from 2 to 4.


Notes:




Present Value of Future Cash Flows
  Completing Project $445,070
  Not Completing Project Undetermined

Location of Project (provide at least one of the following locators for each project location):
Address:                                        Street Address                              City                                                       State
                             1) 850 South Concho Dr.                          San Angelo                                            Texas




                                                                             88
City of San Angelo, Texas
                                                2013-2018 Capital Improvement Plan

                                     Sunken Garden Park and Sculpture Garden
Responsible Dept:                   Parks & Recreation                                     Project Manager:                   Carl White

Financial Plan:
      Prior           Budget                                             Projected
     Years            12/13             13/14            14/15            15/16                   16/17           17/18             Future                   Total
 $              -               -                -               -                    -                       -    275,000           $0               $        275,000

Description:
Landscape refurbishment of Sunken Garden Park with enhancements to improve access and enjoyment of the new Sculpture Garden.
Improvements to include a new irrigation system, new turf in targeted locations, improved accessibility with ramps and stairs, walkways to and
around the sculptures and improved lighting.




Supporting planning document(s):



                                                                                          Project Cost:                            Estimated          Project-to-Date
                                                                                          ROW/Easements/Land                                  -                     -
                                                                                          Design                                         25,000                     -
                                                                                          Construction                                  250,000                     -
                                                                                          Other                                               -                     -

                                                                                          Total                                $        275,000        $             -

                 Insert a picture of your proposed project here.                          Project Schedule:                                                % Complete
                 Click on Insert in the menu bar, then Picture…                           Design: 2017                                                              0%
    then find picture in your files…       then double click picture to insert.           Implementation: 2018                                                      0%



                                                                                          Funding Sources:                                                  Amount
                                                                                          Undetermined                                                 $      275,000




Operating Budget Impact if Completed:                                     13/14                   14/15           15/16             16/17                    17/18
None                                                                 $            -                       -               -                    -                     -




Operating Budget Impact if NOT Completed:                                 13/14                   14/15           15/16             16/17                    17/18
None                                                                 $            -                       -               -                    -                     -




Performance Measures:
increase visitation to the park and sculpture garden by about 12,000 visitors a year.


Notes:




Present Value of Future Cash Flows
  Completing Project $250,288
  Not Completing Project Undetermined

Location of Project (provide at least one of the following locators for each project location):
Address:                                        Street Address                              City                                                   State
                             1) 704 S. David Street                           San Angelo                                        Texas




                                                                             89
City of San Angelo, Texas
                                               2013-2018 Capital Improvement Plan

               Concho River Dredging, Bank Stabilization, & Trails Improvements
Responsible Dept:                 Parks & Recreation                                      Project Manager:                       Carl White

Financial Plan:
      Prior           Budget                                            Projected
     Years             12/13           13/14           14/15             15/16                   16/17           17/18                 Future                  Total
 $    6,853,196       8,583,451                 -               -                    -                       -               -                       -   $    15,436,647

Description:
Design and construction of the North Concho River Parks and Trail system, located along the course of the North Concho River from Kirby Community
Park to Rio Concho Community Park. Design and construction of all physical improvements in the area including trails, lookout points, bank
stabilization, lighting, signage and accessibility and connectivity improvements with the following exception. The section of the project from Kirby Park
(south side) to 14th Street will only be conceptually designed. Improvements will focus on connectivity and access to the river, provision of desirable
destination spaces and maximizing public recreation opportunities and interaction with the river. Project also included substantial dredging of portions
of the river, primarily between Houston Harte and 14th Street, under supervision of the UCRA. About 1.5 million cubic feet of silt were removed. Project
includes trail section on SAHF property on south side of river from Irving St. upriver to Girl Scout HQs and trail section from Bell St. terminus and
across Bell St to the river overlook at the Rio Concho Community Park
Supporting planning document(s):
2004 KDC-Turner Study; hydrogeological assessments


                                                                                         Project Cost:                                Estimated          Project-to-Date
                                                                                         ROW/Easements/Land                             1,034,574             1,034,574
                                                                                         Design                                         1,531,301             1,531,301
                                                                                         Construction                                  12,482,115             7,318,763
                                                                                         Other                                            388,657               388,657

                                                                                         Total                                    $    15,436,647        $    10,273,295

                                                                                         Project Schedule:                                                   % Complete
                                                                                         Design: 2006 - 2012                                                       100%
                                                                                         Implementation: 2009 - 2013                                                59%




                                                                                         Funding Sources:                                                     Amount
                                                                                         Type B sales tax                                                $    12,993,175
                                                                                         Federal, State, and Local Grants                                $     1,856,012
                                                                                         storm water improvements funding                                $       587,460


Operating Budget Impact if Completed:                                    13/14                   14/15           15/16                 16/17                   17/18
Operating and Maintenance Costs                                     $            -                100,000         102,000                  104,000               106,000




Operating Budget Impact if NOT Completed:                                13/14                   14/15           15/16                 16/17                   17/18
No impact                                                           $            -                       -               -                       -




Performance Measures:
Increase the overall river parks and trail system use from an estimated 200,000 visitors annually to over 250,000 visitors annually
Improve the quality of the water in the river in the areas dredged by up to 15%

Notes:
Dredging is complete and was conducted from about 14th Street downriver to about the point where Sulphur Draw feeds into the river.




Bank stabilization and other improvements began October 2011. As of December 2012, the improvement project is at about 60% completion overall,
counting contractor's work and in-house work. The project is anticipated to be substantially complete August 2013. Bank stabilization of the section
from Sulpher Draw upriver to 1st Street was approved and funed.




Present Value of Future Cash Flows
 Completing Project $8,969,084
 Not Completing Project Undetermined

Location of Project (provide at least one of the following locators for each project location):
Address:                                         Street Address                               City                                                   State
                             1) O. C. Fisher Reservoir Dam to Bell Street       San Angelo                                         Texas
                             2) impoundment




                                                                            90
City of San Angelo, Texas
                                             2013-2018 Capital Improvement Plan

                                    Public Information Equipment Replacement
Responsible Dept:                  Public Information                                   Project Manager:                     Anthony Wilson

Financial Plan:
      Prior           Budget                                              Projected
     Years            12/13            13/14            14/15              15/16               16/17          17/18                Future                Total
 $              -       17,936           19,874            4,668               5,378                      -              -                     -   $        47,856

Description:
The Public Information Office lacks adequate backup equipment for when technology inevitably fails. PIO also lacks adequate funding to
systematically purchase replacement and/or backup photography, videography and computer equipment, all of which is necessary to disseminate
information -- particularly the airing of City Council and board meetings -- to the public. Health Services has applied for a public health emergency
preparedness discretionary funds state grant that would fund 90% of the cost of a new server for Channel 17. (The remaining 10% will come from
the PIO's operating budget.) That would leave another $29,920 in equipment needs: $19,874 for video equipment in the City Council chambers,
$4,668 in videography equipment, and $5,378 in photo equipment.


Supporting planning document(s):




                                                                                       Project Cost:                              Estimated        Project-to-Date
                                                                                       ROW/Easements/Land                                   -                    -
                                                                                       Design                                               -                    -
                                                                                       Construction                                         -                    -
                                                                                       Other                                           47,856                    -

                                                                                       Total                                  $        47,856      $             -

                 Insert a picture of your proposed project here.                       Project Schedule:                                               % Complete
                 Click on Insert in the menu bar, then Picture…                        Design:                                                                  0%
    then find picture in your files…       then double click picture to insert.        Implementation:                                                          0%




                                                                                       Funding Sources:                                                 Amount
                                                                                       Public Health Emergency State Grant                         $       16,142
                                                                                       Undetermined                                                $       31,714




Operating Budget Impact if Completed:                                      13/14               14/15          15/16                16/17                 17/18
Repair costs reduced                                                  $      (1,000)             (1,000)        (1,000)                (1,000)              (1,000)




Operating Budget Impact if NOT Completed:                                  13/14               14/15          15/16                16/17                 17/18
We would face repair costs that could be small.                       $       1,000               1,000          1,000                 1,000                 1,000
Eventually, we would have to replace equipment through
the operating budget.


Performance Measures:
Number of Council and board meetings aired, number of original programs produced, number of photos posted online.


Notes:
Council chambers equipment: Sony Anycast Station Live Content Producer, $12,999; 4 Robotic Cameras, $3,280; HDD DVD recorder, $3,595.
Channel 17 server: $17,936; Videography equipment: Sony HVR-NX5U camera, $3,999; Sony HXR-FMU128 Flash Memory Unit, $669;
Photography equipment: Canon EOS 7D SLR Digital Camera Body, $1599; Canon EF-S 17-55mm f/2.8 IS USM Zoom Lens, $1,179; Canon EF70-
200mm f/2.8 IS II USM Telephoto Lens, $2,099; Canon Speedlight 580EX II Flash, $501




Present Value of Future Cash Flows
  Completing Project $42,291
  Not Completing Project $4,727

Location of Project (provide at least one of the following locators for each project location):
Address:                                       Street Address                              City                                                State
                            1) 500 Rio Concho Drive                           San Angelo                                      Texas




                                                                              91
City of San Angelo, Texas
                                             2013-2018 Capital Improvement Plan

                                         Communications Technology Upgrade
Responsible Dept:                  Public Safety Communications                           Project Manager:                 Victor Vasquez

Financial Plan:
      Prior            Budget                                           Projected
     Years             12/13           13/14           14/15             15/16                   16/17          17/18            Future                Total
 $      117,000                         120,000                 -                    -                      -    130,000           150,000      $        517,000

Description:
This hardware update includes the actual computer equipment (servers) that our Intergraph software needs to operate on. This also includes the
operating systems and the backup solutions so that records are securely stored. The servers are currently Dell servers, and Dell does not support
servers over 4 years old. All information transmitted to Public Safety personnel must be accurate and up-to-date. It is imperative we (Public Safety)
stay current on the technology for citizen, firemen and officer safety.




Supporting planning document(s):




                                                                                         Project Cost:                          Estimated       Project-to-Date
                                                                                         ROW/Easements/Land                               -                   -
                                                                                         Design                                           -                   -
                                                                                         Construction                                     -                   -
                                                                                         Other                                      517,000           117,000

                                                                                         Total                              $       517,000      $       117,000
                  Insert a picture of your proposed project here.
                  Click on Insert in the menu bar, then Object…
                                                                                         Project Schedule:                                           % Complete
                         Click on the tab Create from File,
                                                                                         Phase 1 2008                                                      100%
                                then click Browse…
                                                                                         Phase 2 2013                                                         0%
                               Browse to your picture,
                              then click Insert and Ok.


                                                                                         Funding Sources:                                             Amount
                                                                                         General Fund                                            $      117,000
                                                                                         Undetermined                                            $      400,000




Operating Budget Impact if Completed:                                    13/14                   14/15          15/16            16/17                 17/18
No significant change in operating costs.                           $            -




Operating Budget Impact if NOT Completed:                                13/14                   14/15          15/16            16/17                 17/18
Increase in repair costs as equipment will be out of                $            -                  5,000         10,000            15,000                20,000
maintenance




Performance Measures:
New technology is required to maintain a higher standard of performance and public safety. Communications had a total 209,764 calls in 2011.
Without reliable computers the Public Safety Communications would not be able to dispatch services to the Citizens of San Angelo.

Notes:




Present Value of Future Cash Flows
  Completing Project $117,763
  Not Completing Project $37,875

Location of Project (provide at least one of the following locators for each project location):
Address:                                       Street Address                              City                                              State
                            1) 323 E. Beauregard                              San Angelo                                    Texas




                                                                            92
City of San Angelo, Texas
                                               2013-2018 Capital Improvement Plan

                                                        Mobile Data Terminals
Responsible Dept:                   Fire                                                     Project Manager:                       Brian Dunn

Financial Plan:
      Prior           Budget                                               Projected
     Years            12/13                13/14        14/15               15/16                   16/17           17/18                 Future                   Total
 $              -               -           182,600                -                    -                       -               -                        -   $       182,600

Description:
This is the moblie data terminals for the ambulances and fire trucks. The current version we are using is obsolete and we can't purchase parts
when they break. The police department has already switched to the system we are asking for.




Supporting planning document(s):




                                                                                            Project Cost:                                Estimated           Project-to-Date
                                                                                            ROW/Easements/Land                                     -                       -
                                                                                            Design                                                 -                       -
                                                                                            Construction                                     182,600                       -
                                                                                            Other                                                  -                       -

                                                                                            Total                                    $       182,600         $             -

                 Insert a picture of your proposed project here.                            Project Schedule:                                                    % Complete
                 Click on Insert in the menu bar, then Picture…                             Design:                                                                       0%
    then find picture in your files…       then double click picture to insert.             Implementation:                                                               0%




                                                                                            Funding Sources:                                                      Amount
                                                                                            Possibly out of new unattached ambulance                         $      182,600




Operating Budget Impact if Completed:                                       13/14                   14/15           15/16                 16/17                    17/18
We will have to budget about $8500 per year for air card               $       8,500                   8,500           8,500                  8,500                    8,500
costs.
costs




Operating Budget Impact if NOT Completed:                                   13/14                   14/15           15/16                 16/17                    17/18
We have to have a system to operate.                                   $            -                       -               -                        -                     -




Performance Measures:
This will positively impact response times


Notes:
 If this isn't updated it will have an impact on response times.




30 MDT'S @ $4,110 = $123,300----- 30 MOUNTS @ $475 = $14,250------- 35 AIRCARDS @ $50 = $1,750--- 6 TABLETS FOR THE
AMBULANCES @ $3,800 = $22,800 ---WIRE 4 STATIONS AS HOTSPOTS @ $3,000 = $12,000--- ONE YEAR OF AIRTIME FOR AIRCARDS
$8,500




Present Value of Future Cash Flows
  Completing Project $219,375
  Not Completing Project Undetermined

Location of Project (provide at least one of the following locators for each project location):
Address:                                       Street Address                              City                                                          State
                            1) City Wide                                      San Angelo                                             Texas




                                                                               93
City of San Angelo, Texas
                                             2013-2018 Capital Improvement Plan

                                                              Server Upgrades
Responsible Dept:                  Information Technology                               Project Manager:               John Eades

Financial Plan:
      Prior           Budget                                              Projected
     Years            12/13            13/14            14/15              15/16               16/17       17/18             Future                   Total
 $      100,000         25,000           25,000           25,000              25,000             25,000      25,000                         -   $       250,000

Description:
The IT Department has increased the amount of servers from 35 to 37 and anticipate purchasing another 3 within the next year to replace old
servers. Due to the increase in servers, we have also needed to add racks, battery backups (UPS), wire management, and remote console
appliances. With the increase of servers, switches, and routers, we are requesting we increase our yearly maintenance to $35,000. In order to stay
current with technology and maintain optimal proficiency, our servers/switches/routers/UPS's should be replaced on a 4 to 5 year plan. Rotation
upgrades of the Core Servers include: Exchange Email Server, Authentication Servers, Antivirus server, Mail Security, Content Filtering, GIS
Servers, AS/400, Risk Server, Intranet Server, Click2Gov Server, Channel 17 Distribution Server, Airport File Server, VoIP phone servers, Storage
Backup Units, Infrastructure Switches, Routers, UPS, and Firewall Security.

Supporting planning document(s):




                                                                                       Project Cost:                        Estimated           Project-to-Date
                                                                                       ROW/Easements/Land                             -                       -
                                                                                       Design                                         -                       -
                                                                                       Construction                                   -                       -
                                                                                       Other                                    250,000               125,000

                                                                                       Total                            $       250,000         $       125,000

                 Insert a picture of your proposed project here.                       Project Schedule:                                            % Complete
                 Click on Insert in the menu bar, then Picture…                        Design:                                                               0%
    then find picture in your files…       then double click picture to insert.        Implementation: On Going                                            47%




                                                                                       Funding Sources:                                              Amount
                                                                                       General Fund                                             $      250,000




Operating Budget Impact if Completed:                                      13/14               14/15       15/16             16/17                    17/18
No impact                                                             $            -                   -           -                    -                     -




Operating Budget Impact if NOT Completed:                                  13/14               14/15       15/16             16/17                    17/18
No impact                                                             $            -                   -           -                    -                     -




Performance Measures:
IT work orders completed same day-2451 or 60%           Network up time-99.872%          AS400 time available 87.45%


Notes:
IT has been working on server virtualization. This allows us to run more servers on fewer physical servers. We have 3 physical Servers running 11
Virtual Servers.



IT is working on Thin Client deployment. Desktop PCs are replaced with a less expensive server clients saving money on PC purchases. As thin
client use increases, another server may become necessary, thereby increasing the cost and number of server upgrades.



Increase disk storage capacity for the GIS Maps, Y drive, Z drive, and system backups




Present Value of Future Cash Flows
  Completing Project $143,777
  Not Completing Project Undetermined

Location of Project (provide at least one of the following locators for each project location):
Address:                                       Street Address                              City                                             State
                            1) 72 W College                                   San Angelo                                Texas




                                                                              94
City of San Angelo, Texas
                                             2013-2018 Capital Improvement Plan

                                                 Purchase IBM Power 7 Server
Responsible Dept:                  Information Technology                                   Project Manager:                       John Eades

Financial Plan:
      Prior           Budget                                              Projected
     Years            12/13            13/14            14/15              15/16                   16/17           17/18                 Future                   Total
 $              -                        65,000                  -                     -                       -               -                        -   $        65,000

Description:
Purchase a new IBM Power 7 Server (8202 Model E4C) to replace the IBM iSeries 520 AS400, 8 years old, that is reaching end of life. Future
releases of the HTE software will require higher levels of the IBM operating system. The IBM Power 7 Server system will run the entire city's
financials, water billing, permits, work orders, inventory, fleet management, and other modules.




Supporting planning document(s):
No supporting documents at this time. Working with IBM and Sungard to determine correct computer configuration and price.
The cost is estimated.

                                                                                           Project Cost:                                Estimated           Project-to-Date
                                                                                           ROW/Easements/Land                                     -                       -
                                                                                           Design                                                 -                       -
                                                                                           Construction                                           -                       -
                                                                                           Other                                             65,000                       -

                                                                                           Total                                    $        65,000         $             -

                 Insert a picture of your proposed project here.                           Project Schedule:                                                    % Complete
                 Click on Insert in the menu bar, then Picture…                            Design:                                                                       0%
    then find picture in your files…       then double click picture to insert.            Implementation:                                                               0%




                                                                                           Funding Sources:                                                      Amount
                                                                                           Saving on the three years of software and                        $       65,000
                                                                                           hardware maintenance




Operating Budget Impact if Completed:                                      13/14                   14/15           15/16                 16/17                    17/18
                                                                      $            -                       -               -                        -                     -




Operating Budget Impact if NOT Completed:                                  13/14                   14/15           15/16                 16/17                    17/18
City will not be able to update the HTE software at some              $            -                       -               -                        -                     -
unspecifed time in the near future. Working with Sungard
to determine that date


Performance Measures:




Notes:
Software Maintenance for the AS400 increased 25%, based on the age of the AS400, to $7,700.00.




The City will not be able to update the HTE software at some unspecified time in the near future. Currently working with Sungard to determine that
date. This project needs to be funded in advance in order for the maintenance savings to occur.




Present Value of Future Cash Flows
  Completing Project $63,788
  Not Completing Project Undetermined

Location of Project (provide at least one of the following locators for each project location):
Address:                                       Street Address                              City                                                         State
                            1) 72 W College                                   San Angelo                                            Texas




                                                                              95
City of San Angelo
                                                                    2013‐2018 Capital Improvement Plan
                                                                          Level 3 Future Projects

                                                                                                                                                                    Total Project 
        Project Type              Division                                       Project Title                                        Proposed Funding                 Costs
City Operation Facility       Emergency Mgmt       Emergency Operations Center (EOC) Generator Replacement                         General Fund                              50,000
City Operation Facility       Fire                 Fire Administration  Offices Remodel                                            General Fund                             600,000
Community Facility            Civic Events         Coliseum Acoustical Banners                                                     HOT,SASSRA                               150,000
Community Facility            Civic Events         Coliseum Ice Plant                                                              HOT,Hockey Team                            75,000
Community Facility            Civic Events         Bill Aylor Sr. Memorial River Stage Improvements                                HOT,CVB Contrib,Gen Fund                1,000,000
Community Facility            Civic Events         Coliseum Entryway Improvements                                                  HOT,SASSRA                                100,000
Community Facility            Civic Events         Convention Center Exhibit Hall                                                  1/2c Sales Tax                         10,000,000
Community Facility            Civic Events         Convention Center Walkway                                                       HOT/1/2c sales tax/Hotel                  100,000
Community Facility            Civic Events         Coliseum Sound System Amplifiers                                                HOT/410/SASSRA Contribution                50,000
Community Facility            Fire Prevention      Fire Safety City                                                                Other‐Donations,Grants,Contrib            970,000
Community Facility            Municipal Court      Municipal Court Addition                                                        General Fund                              182,400
Community Facility            Operations           Combined Maintenance Facility                                                   General Fund ‐ CO                         750,000
Community Facility            Parks                Parking for Senior Centers                                                      General Fund                              275,000
Community Park                Parks                Belaire Neighborhood Park                                                       General Fund                              550,000
Community Park                Parks                Blackshear Neighborhood Park                                                    General Fund                              350,000
Community Park                Parks                Bluffs Neighborhood Park                                                        General Fund                              550,000
Community Park                Parks                College Hills East Neighborhood Park                                            General Fund                              300,000
Community Park                Parks                Exall Addition Pocket Park                                                      General Fund                               99,000
Community Park                Parks                Kirby Community Park, Additional Improvements                                   General Fund                              600,000
Community Park                Parks                Northern Lakeview Neighborhood Park                                             General Fund                              450,000
Community Park                Parks                Paseo Irrigation                                                                General Fund                               60,000
Community Park                Parks                Restroom Facilities, Neighborhood Parks                                         General Fund                              450,000
Community Park                Parks                Rio Concho Trail Extension to GFAB Housing                                      General Fund                            1,250,000
Community Park                Parks                South Concho Neighborhood Park Renovation                                       1/2¢ Sales Tax                            325,000
Community Park                Parks                Southland East Neighborhood Park                                                General Fund                              660,000
Community Park                Parks                Lake Nasworthy Park Improvements                                                Grants/Lake fund                        5,000,000
Community Park                Parks                South Concho Park Trail                                                         General Fund/Grants                       199,500
Infrastructure ‐ Stormwater   Stormwater           Remediation of Drainage Issue:  24th St. at Blum St.                            General Fund                            3,749,220
Infrastructure ‐ Stormwater   Stormwater           Remediation of Drainage Issue:  30th Street at Day Elementary                   General Fund                              345,600
Infrastructure ‐ Stormwater   Stormwater           Remediation of Drainage Issue:  Beauregard Ave. – Campus to North Concho        General Fund                            2,986,335
Infrastructure ‐ Stormwater   Stormwater           Remediation of Drainage Issue:  Bell Street at Koberlin St.                     General Fund                            2,818,530
Infrastructure ‐ Stormwater   Stormwater           Remediation of Drainage Issue:  Bradford St. at 24th St.                        General Fund                              688,095
Infrastructure ‐ Stormwater   Stormwater           Remediation of Drainage Issue:  Coke St. at East Angelo Draw                    General Fund                            2,039,310
Infrastructure ‐ Stormwater   Stormwater           Remediation of Drainage Issue:  College Hills at North Fork of Red Arroyo       General Fund                            4,782,105
Infrastructure ‐ Stormwater   Stormwater           Remediation of Drainage Issue:  College Hills Blvd. at the South Fork of the    General Fund                            4,706,910
Infrastructure ‐ Stormwater   Stormwater           Remediation of Drainage Issue:  Glenwood Dr. – Harrison to Greenwood            General Fund                            1,009,530
Infrastructure ‐ Stormwater   Stormwater           Remediation of Drainage Issue:  Glenwood Dr. @ Howard                           General Fund                            1,055,295
Infrastructure ‐ Stormwater   Stormwater           Remediation of Drainage Issue:  Goodfellow Draw at Evelyn Ave.                  General Fund                            1,317,600
Infrastructure ‐ Stormwater   Stormwater           Remediation of Drainage Issue:  Howard St. at Brentwood Park                    General Fund                               59,130
Infrastructure ‐ Stormwater   Stormwater           Remediation of Drainage Issue:  Howard Street from North to Webster             General Fund                              397,305
Infrastructure ‐ Stormwater   Stormwater           Remediation of Drainage Issue:  Lester Ln. at Tres Rios Dr.                     General Fund                              140,535
Infrastructure ‐ Stormwater   Stormwater           Remediation of Drainage Issue:  Lindenwood Dr. at Vista Del Arroyo              General Fund                              746,955
Infrastructure ‐ Stormwater   Stormwater           Remediation of Drainage Issue:  Loop 306 Access Road at Eckerd’s                General Fund                            2,279,340
Infrastructure ‐ Stormwater   Stormwater           Remediation of Drainage Issue:  Madison St – Avenue J to Algerita               General Fund                              232,065
Infrastructure ‐ Stormwater   Stormwater           Remediation of Drainage Issue:  Monroe St. at Sulfur Draw Park                  General Fund                              615,870
Infrastructure ‐ Stormwater   Stormwater           Remediation of Drainage Issue:  Pecan St at 3rd St.                             General Fund                              970,785
Infrastructure ‐ Stormwater   Stormwater           Remediation of Drainage Issue:  Preusser St – Lowrie to Schroeder               General Fund                              785,700
Infrastructure ‐ Stormwater   Stormwater           Remediation of Drainage Issue:  Regent Blvd. at Gordon Blvd.                    General Fund                            2,879,145
Infrastructure ‐ Stormwater   Stormwater           Remediation of Drainage Issue:  Southwest Blvd. at the South Fork of the        General Fund                            4,790,880
Infrastructure ‐ Stormwater   Stormwater           Remediation of Drainage Issue:  Sul Ross St. at Sunset Dr.                      General Fund                            1,662,390
Infrastructure ‐ Stormwater   Stormwater           Remediation of Drainage Issue:  Taylor St, at Conchita St.                      General Fund                            3,356,370
Infrastructure ‐ Stormwater   Stormwater           Remediation of Drainage Issue: 400 Block of E. 14th St                          General Fund                            8,000,000
Infrastructure ‐ Streets      Traffic Operations   Portable Traffic Signal                                                         General Fund                             100,000
Infrastructure ‐ Streets      Engineering          Reconstruction of  Edmund Blvd. from Van Buren to Howard St.                    General Fund                             858,200
Infrastructure ‐ Streets      Engineering          Reconstruction of  Jefferson St. from Junius St. to Houston Harte               General Fund                            3,433,117
Infrastructure ‐ Streets      Engineering          Reconstruction of 19th St. from Concho River to Lillie St.                      General Fund                            2,045,350
Infrastructure ‐ Streets      Engineering          Reconstruction of 28th St. from 29th St. to Armstrong St.                       General Fund                              822,017
Infrastructure ‐ Streets      Engineering          Reconstruction of 37th St. from Bell St. to Pruitt Dr.                          General Fund                              455,983
Infrastructure ‐ Streets      Engineering          Reconstruction of 41st St. from Coliseum Dr. to Bowie St.                       General Fund                            2,483,017
Infrastructure ‐ Streets      Engineering          Reconstruction of 42nd St. from Coliseum Dr. to Armstrong St.                   General Fund                            4,656,133
Infrastructure ‐ Streets      Engineering          Reconstruction of Austin St. from Knickerbocker Rd. to Ave. N                   General Fund                            1,577,800
Infrastructure ‐ Streets      Engineering          Reconstruction of Avenue N from Bryant Blvd to Saint Marys                      General Fund                            9,056,017
Infrastructure ‐ Streets      Engineering          Reconstruction of Baze St. from Houston Harte to Culwell St.                    General Fund                              307,683
Infrastructure ‐ Streets      Engineering          Reconstruction of Beauregard Ave. from Taylor St. to Sherwood Way               General Fund                              942,875
Infrastructure ‐ Streets      Engineering          Reconstruction of Bell St. from Railroad Tracks North to 37th St.               General Fund                            2,910,850
Infrastructure ‐ Streets      Engineering          Reconstruction of Ben Ficklin Rd. from Becker Ln. to Country Club Rd.           General Fund                            1,889,250



                                                                                       96
City of San Angelo
                                                                2013‐2018 Capital Improvement Plan
                                                                      Level 3 Future Projects

                                                                                                                                                          Total Project 
        Project Type           Division                                      Project Title                                    Proposed Funding               Costs
Infrastructure ‐ Streets   Engineering          Reconstruction of Ben Ficklin Rd. from Bryant Blvd. to Bryant Blvd.          General Fund                        1,130,533
Infrastructure ‐ Streets   Engineering          Reconstruction of Bowie St. from 24th St. to 47th St.                        General Fund                        4,950,233
Infrastructure ‐ Streets   Engineering          Reconstruction of College Hills Blvd from Beauregard Ave to Sunset Blvd      General Fund                       11,740,467
Infrastructure ‐ Streets   Engineering          Reconstruction of College Hills Blvd. from Loop 306 to Valley View           General Fund                        4,754,583
Infrastructure ‐ Streets   Engineering          Reconstruction of Cox Ln. from Sunset Blvd. to East Cox Ln.                  General Fund                          854,183
Infrastructure ‐ Streets   Engineering          Reconstruction of Culwell St. from Poe St. to Buchanan St.                   General Fund                        1,835,900
Infrastructure ‐ Streets   Engineering          Reconstruction of East 14th St. from Chadbourne St. to Poe St.               General Fund                        5,021,417
Infrastructure ‐ Streets   Engineering          Reconstruction of East 19th St. from Bryat Blvd. to Lille St.                General Fund                        1,514,883
Infrastructure ‐ Streets   Engineering          Reconstruction of East 25th St. from Main St. to Poe St.                     General Fund                        1,049,783
Infrastructure ‐ Streets   Engineering          Reconstruction of Edmund Blvd. from Concho River to Bryant Blvd.             General Fund                        6,958,083
Infrastructure ‐ Streets   Engineering          Reconstruction of Executive Dr. from Sunset Dr. to Knickerbocker Rd.         General Fund                        1,153,950
Infrastructure ‐ Streets   Engineering          Reconstruction of Foster Rd. from Currier Ln. to Jackson St.                 General Fund                        2,292,550
Infrastructure ‐ Streets   Engineering          Reconstruction of Harris Ave. from Main St. to Bell St.                      General Fund                        2,547,283
Infrastructure ‐ Streets   Engineering          Reconstruction of Highland Ave. from Bryant Blvd. to Hill St.                General Fund                          665,467
Infrastructure ‐ Streets   Engineering          Reconstruction of Howard St. from Pecos to Houston Harte Fwy.                General Fund                          876,000
Infrastructure ‐ Streets   Engineering          Reconstruction of Hughes St. from Buchanan St. to Bell St.                   General Fund                        1,583,483
Infrastructure ‐ Streets   Engineering          Reconstruction of Huntington Ave. from Millbrook Dr. to Sunset Dr.           General Fund                        1,149,583
Infrastructure ‐ Streets   Engineering          Reconstruction of Irving St. from Concho River to Washington St.             General Fund                        1,734,733
Infrastructure ‐ Streets   Engineering          Reconstruction of Jackson St. from Avenue N to Knickerbocker Rd.             General Fund                        4,353,733
Infrastructure ‐ Streets   Engineering          Reconstruction of Marx St. from 29th St. to 24th St.                         General Fund                        1,437,750
Infrastructure ‐ Streets   Engineering          Reconstruction of Mercedes St. from City Limit Line to Glenna Dr.            General Fund                        2,279,467
Infrastructure ‐ Streets   Engineering          Reconstruction of Middle Concho Dr. from Red Bluff Ln. to the West           General Fund                        1,845,400
Infrastructure ‐ Streets   Engineering          Reconstruction of Oakes St. from Harris Ave.to 14th St.                      General Fund                          806,767
Infrastructure ‐ Streets   Engineering          Reconstruction of Old Ballinger Hwy from North Bell St. to Pruitt Dr.        General Fund                        2,838,050
Infrastructure ‐ Streets   Engineering          Reconstruction of Pecan St. from 7th St. to 14th St.                         General Fund                          944,450
Infrastructure ‐ Streets   Engineering          Reconstruction of Pecos St. from Concho River to Howard St.                  General Fund                        3,003,117
Infrastructure ‐ Streets   Engineering          Reconstruction of Red Bluff Rd. from Knickerbocker Rd. to Middle Concho      General Fund                        4,955,000
Infrastructure ‐ Streets   Engineering          Reconstruction of Rio Concho Dr. from Magdalene St. to Roosevelt St.         General Fund                        2,329,550
Infrastructure ‐ Streets   Engineering          Reconstruction of Riverside Golf Club Rd. from 29th St. to Bryant Blvd.      General Fund                        1,103,150
Infrastructure ‐ Streets   Engineering          Reconstruction of Smith Blvd. from Pulliam St. to Houston Harte              General Fund                        1,748,900
Infrastructure ‐ Streets   Engineering          Reconstruction of South Concho Dr. from Sierra Vista to Knickerbocker Rd. General Fund                           4,847,017
Infrastructure ‐ Streets   Engineering          Reconstruction of Southland Blvd. from Knickerbocker Rd. to Blue Ridge Tr. General Fund                          1,478,983
Infrastructure ‐ Streets   Engineering          Reconstruction of Sunset Dr. from Knickerbocker Rd. south to railroad tracks General Fund                        1,163,650
Infrastructure ‐ Streets   Engineering          Reconstruction of Taylor St. from Beauregard Ave. to Live Oak St.            General Fund                          791,650
Infrastructure ‐ Streets   Engineering          Reconstruction of Blumentritt Rd. from FM 1223                               General Fund                          240,000
Infrastructure ‐ Streets   Engineering          Rio Concho Drive Widening & Beautification                                   General Fund                          500,000
Infrastructure ‐ Streets   Engineering          Traffic Calming Proposal #1                                                  Grant‐Fed Stimulus Funding          1,315,527
Infrastructure ‐ Streets   Engineering          Traffic Calming Proposal #2                                                  General Fund                          350,000
Infrastructure ‐ Streets   Engineering          Traffic Calming Proposal #3                                                  General Fund                          400,000
Infrastructure ‐ Streets   Engineering          Traffic Calming Proposal #4                                                  General Fund                          350,000
Infrastructure ‐ Streets   Operations           Spring Creek Park Road Improvements                                          Other‐Nasworthy Trust Fund            215,000
Infrastructure ‐ Streets   Operations           Backup Power Supply for Signalized Intersections                             General Fund                          531,000
Infrastructure ‐ Streets   Traffic Operations   Video Detection                                                              General Fund                          557,000
Infrastructure ‐ Streets   Traffic Operations   School Zone Flashers                                                         General Fund                          285,000
Infrastructure ‐ Streets   Traffic Operations   Signal Cabinets                                                              General Fund                           78,000
Infrastructure ‐ Water     Fort Concho          Fort Concho Drainage Correction                                              General Fund                          225,000
Infrastructure ‐ Water     Water Utilities      Hickory Water Supply Development Phase II                                    Water Fund,1/2¢ Sales Tax          25,400,000
Infrastructure ‐ Water     Water Utilities      Hickory Water Supply Development Phase III                                   Water Fund,1/2¢ Sales Tax          14,300,000
Pedestrian                 Engineering          Pedestrian Facilities                                                        Other‐TIRZ,1/2¢ Sales Tax           2,500,000
Pedestrian                 Operations           Countdown Pedestrian Signal Indications                                      General Fund                           30,000
                           2013‐2018 Capital Improvement Plan Level 3 Future Projects Total                                                                244,115,469




                                                                                   97
A RESOLUTION OF THE CITY OF SAN ANGELO ADOPTING THE
                       2013-2018 CAPITAL PROGRAM

       WHEREAS, the City Charter for the City of San Angelo, Texas, provides that
the City Manager shall prepare and submit to the City Council a multi-year capital
program before the final date for submission of the budget; and,

        WHEREAS, on February 21, 2013 the City Manager presented a 2013-2018
capital program, which revises and extends the 2012-2017 capital program adopted by
the City Council on April 17, 2012; and,

       WHEREAS, the contents of the 2013-2018 capital program comply with the
requirements Section 59A of the City Charter for the City of San Angelo;

      WHEREAS, pursuant to Section 59A of the City Charter for the City of San
Angelo, the City Council by resolution shall adopt the capital program with or without
amendment after public hearing and on or before adoption of the annual budget.

       WHEREAS, as of this date, the 2013 – 2014 annual budget has not yet been
adopted;

       WHEREAS, in accordance with Section 59A of the City Charter for the City of
San Angelo, after compliance with all publication and notice requirements, a public
hearing for City Council to consider adoption of the proposed 2013-2018 capital program
was held on March 19, 2013.

      NOW THEREFORE BE IT RESOLVED BY THE CITY COUNCIL OF THE
CITY OF SAN ANGELO, TEXAS THAT:

       SECTION 1 The facts and matters set forth in the preamble of this Ordinance
are bound to be true and correct.

       SECTION 2 It is hereby officially found and determined that the meeting at
which this resolution was passed and adopted was open to the public as required and that
public notice of the time, place, and purpose of said meeting was given as required by the
Open Meetings Act, Chapter 551 of the Texas Local Government Code.

       SECTION 3 The 2013-2018 capital program is hereby adopted by majority vote
of the City Council without amendment, subject to deletion, modification or suspension
during the course of the fiscal year based on events, changes in technology or other
circumstances which justify such action.
PASSED and APPROVED THIS          DAY OF                     , 2013.


                                  CITY OF SAN ANGELO, TEXAS


ATTEST:
                                  Alvin W. New, Mayor

Alicia Ramirez, City Clerk



APPROVED AS TO CONTENT            APPROVED AS TO FORM



Daniel Valenzuela, City Manager   Lysia H. Bowling, City Attorney
2013-2018
Capital Improvement Plan
2013-2018 CIP Calendar
11/20/2012        Discuss CIP with City Council
12/10/2012        Budget Division sent out CIP forms
                  and instructions to divisions
12/20/2012        Projects submitted by divisions
1/31/2013         Committee reviewed draft CIP
2/7-12/2013       Public meetings
2/19/2013         Discuss CIP with City Council
2/26/2013         City Council Strategic Planning
                  Meeting
3/5/2013          Discuss CIP with City Council
3/19/2013         Adoption of the CIP
2013-2018 Capital Improvement Plan
At the strategic planning session, we defined capital
   improvement projects with this approach:

• Level 1 – Infrastructure Priority

• Level 2 – Other projects within 5 years

• Level 3 – Other projects outside 5 years
2013-2018 Capital Improvement Plan
                  # of Projects   Amount of Project ($)

Level 1 –
                       33                 $402,808,769
Infrastructure

Level 2 –
                       48                   84,679,315
All Others

Level 3 –
                      116                  244,115,469
Outside 5 years

     Total            197                 $731,603,553
2013-2018 CIP Calendar
11/20/2012        Discuss CIP with City Council
12/10/2012        Budget Division sent out CIP forms
                  and instructions to divisions
12/20/2012        Projects submitted by divisions
1/31/2013         Committee reviewed draft CIP
2/7-12/2013       Public meetings
2/19/2013         Discuss CIP with City Council
2/26/2013         City Council Strategic Planning
                  Meeting
3/5/2013          Discuss CIP with City Council
3/19/2013         Adoption of the CIP
City of San Angelo
                                                           Engineering Services


Memo
 Date:                 March 6, 2013

 To:                   Mayor and Councilmembers

 From:                 Clinton Bailey, City Engineer

 Subject:              Agenda Item for March 19, 2013 Council Meeting

 Contact:              Clinton Bailey, Development Services, 657-4203

 Caption:              Discussion of prohibiting commercial vehicles from using certain streets and
                       parking in certain areas within the San Angelo city limits and any action in
                       connection thereto


 Summary:              The City of San Angelo Code of Ordinances contains articles which enable the
                       City to prohibit commercial vehicles from using certain streets and from parking in
                       certain areas within the San Angelo city limits.
                       From observation, it appears that the increase in commercial vehicle traffic within
                       the City is primarily due to the following:
                             1. Construction equipment and construction materials delivery vehicles
                                (dump trucks, tractor trailers, concrete trucks etc.) associated with the
                                recent and significant increase commercial and residential land
                                development; and,
                             2. Commercial property servicing businesses whose primary function is the
                                delivery of materials and equipment to offsite locations using tractor
                                trailers and other large commercial vehicles.


 History:              This item was requested by Councilman Dwain Morrison.

 Financial Impact:     n/a


 Related Vision Item   Neighborhood Vision and Transportation Vision
 (if applicable):

 Other Information/    There are four sections in San Angelo's Code of Ordinances which address the
 Recommendation:       usage and access of and by commercial vehicles. These are summarized below
                       and excerpts provided as attachments.

                       Article 10.100 of the City's Code of Ordinances defines commercial vehicles, as
                       well as laying out the requirements for where commercial vehicles may and may
                       not be used. Section 10.107(g)(3) lists street segments along which, when signs
                       are erected giving notice, commercial vehicles cannot be operated except to
                       deliver or pick up merchandise.         10.107(g)(4) requires these vehicles to
                       immediately exit the street once they have picked up or delivered as intended.

                       Article 10.1200 of the City's Code of Ordinances addresses routes which are
                       required as the sole routes for the transportation of hazardous materials. It also
                       defines hazardous materials, and provides exceptions - such as repair, retail
delivery, and transfer. Lastly, it addresses the parking or storing of vehicles
                     containing hazardous materials, signage, and responsibilities of the drivers
                     operating such vehicles.

                     Article 10.1000 of the City's Code of Ordinances prohibits the parking of
                     commercial vehicles on a street or lot in a residential district, or on a street
                     bordering a residential district. It then lists exceptions in Section 10.1005, under
                     which such parking may occur temporarily or when meeting setbacks and located
                     on private property.

                     Lastly, Section 412 of the Zoning Ordinance addresses commercial vehicle
                     peripherally, only by limiting the number of delivery and pickup of materials by
                     commercial vehicles to home occupations.

                     Staff recommends that the City Council provide Staff with specific direction
                     regarding any desired or proposed modifications to existing City ordinances
                     related to this issue.

Attachments:         Excerpts from City of San Angelo Code of Ordinances

Presentation:        Clinton Bailey, City Engineer

Publication:         n/a

Reviewed by          AJ Fawver, Interim Director of Development Services (03/07/13)
Director:

Approved by Legal:   n/a
ARTICLE 10.100 TRAFFIC REGULATIONS GENERALLY

Sec. 10.107   Miscellaneous Driving Rules

(g)   Commercial Vehicle Prohibited from Using Certain Streets:

          (1) A commercial vehicle for the purpose of this article is defined as every
          vehicle designed, maintained, or used primarily for the transportation of
          property and whose gross weight exceeds three and one-half (3-1/2) tons. This
          article never shall be construed to include vehicles commonly known as
          pickup trucks.

          (2) This section shall not apply to persons operating police, fire, emergency,
          maintenance, or other similar vehicles at the direction of the city, County of
          Tom Green or State of Texas.

          (3) When signs are erected giving notice thereof, no person shall operate a
          commercial vehicle, except as provided under the following paragraph, on any
          of the following streets or parts of streets.

                (A)   Texas Avenue between Foster Street and Bryant Boulevard.

                (B)   Avenue X between Foster Street and Bryant Boulevard.

                (C)   Avenue Y between Foster Street and Bryant Boulevard.

                (D)   Avenue Z between Foster Street and Bryant Boulevard.

                (E)   San Jacinto between Foster Street and Bryant Boulevard.

                (F)   Iris between Christoval Road and Ft. McKavitt Road.

                (G)   River Oakes between Christoval Road and Ft. McKavitt Road.

                (H)   Penrose between Christoval Road and Ft. McKavitt Road.

                (I)   Windham between Christoval Road and Ft. McKavitt Road.

                (J)   Greer Street between Fort McKavitt Road and Christoval Road.

                (K)   Churchill Boulevard between Margie Street and Christoval Road.

                (L)   Meadow Drive between Mimosa Drive and FM 2105.

                (M) On 30th Street between the east gate to the Hirschfeld Steel
                facilities and Irving Street.
(N)   Field Street between Junius Street and Howard Street.

(O)   48th Street between Lake Drive and Chadbourne Street.

(P)   Murphy Street between LaCruz Street and Currier Street.

(Q) Amistad Road beginning at Robin Hood Trail and extending one
thousand and four hundred seventy feet (1,470') north.

(R) Avenue K between the east entrance to the Water Department
Plant and South Concho Park Drive.

(S)   Marie Street between Beacon Street and LaFollette Street.

(T) On Beacon Street between a point two hundred fifty-five feet
(255') east of Bell Street and Marie Street.

(U)   Spaulding Street between Baze Street and Bell Street.

(V)   Koberlin Street between Main Street and Bell Street.

(W)   Preusser Street between Main Street and Bell Street.

(X)   Harris Avenue between Main Street and Bell Street.

(Y)   Dellwood Drive between Christoval Road and Edgewood Drive.

(Z) Edgewood Drive between South Chadbourne (F. M. 1223) and
Dellwood Drive.

(AA) Avenue Q between Bryant Boulevard and Chadbourne Street.

(BB) Currier Street, between Texas Avenue and Avenue V.

(CC) Avenue H between Hill Street and Irving Street.

(DD) Avenue I between Hill Street and Irving Street.

(EE) Avenue J between Hill Street and Irving Street.

(FF) Avenue K between Hill Street and Irving Street.

(GG) Fort McKavitt Road between Paint Rock Road and River Oakes
Street.

(HH) Hobbs Street between Christoval Road and Lipan Drive.
(II) Logan Street between Christoval Road and Sellers Drive.

                 (JJ) Sellers Street between Paint Rock Road and Logan Street.

                 (KK) Cox Lane between Ben Ficklin Road and Foster Road.

                 (LL) Avenue G between Irving and Hill Streets.

                 (MM) Pecos Street between the northern section of David Street and
                 Howard Street.

                 (NN) Old Christoval Road from Paint Rock Road to Chadbourne Street.

           (4) Commercial vehicles may be operated on the above-named streets and
           parts of streets only for the purpose of delivering or picking up materials or
           merchandise and then only by entering such street at the intersection nearest
           the destination of the vehicle and proceeding thereon no farther than the
           nearest intersection thereafter.

ARTICLE 10.1200 ROUTES FOR VEHICLES TRANSPORTING HAZARDOUS
MATERIALS

Sec. 10.1201     Vehicle Routes

(a) No person shall operate or permit the driving or operation of any truck or transporting
vehicle under their control carrying hazardous material over any street, alley, or other
public way within the corporate limits of the city, except upon the following portions of
the following streets, which are hereby designated as "truck routes."

           (1)    US Highway 67: from the west San Angelo city limits to Loop 306

           (2)    Loop 306: from US Highway 67 to US Highway 87

           (3)    US Highway 87: from Loop 306 south to the San Angelo city limits

(b) Such designated truck routes are shown on the map on file in the city clerk's office,
marked Exhibit "A" and which is made a part hereof for all legal purposes as is set out in
full herein, showing in heavy continuous lines the route or routes over which such
transport vehicles may be driven or operated while within the corporate limits of the city.
Said map is to be executed and attested by the mayor and city clerk and remain in the
office of the city clerk as the official Truck Route Map for the city. An exact duplicate of
said official Truck Route Map shall be prepared and kept in the office of the Assistant
city manager and also signed by the mayor and attested to by the city clerk under date of
this section as an exact duplicate original of the map maintained on file in the office of
the city clerk.
(c) This article shall apply to every motor vehicle used for transporting hazardous
materials. This article shall not apply to emergency vehicles or trucks in the service or
maintenance departments of the city.

(d) Trucks or transporting vehicles carrying hazardous materials restricted to the streets
designated as "truck routes" herein, may depart from such routes where it is necessary to
load or unload merchandise at locations situated off of designated routes; provided,
however, such vehicles shall follow the most direct truck route to the point nearest their
ultimate destination and provided further that such vehicles shall not leave designated
truck routes until they have reached a turning off point that can be described as the
shortest distance practical to the ultimate destination of the vehicle which is consistent
with a reasonable operation of the vehicle; provided, further, said vehicles may depart
from the designated truck routes for the purpose of traveling to and from a duly
designated truck terminal, provided that such vehicle proceeds by the most direct route
that is practicable.

(1959 Code of Ordinances, Sec. 10-21-1)

Sec. 10.1202     Definitions

(a)    Hazardous Material. Materials which can cause death or disabling injury on brief
exposure, highly flammable or volatile liquids, gasses or solids, detonable materials, or
highly self reactive materials, including, but not limited to:

           (1)    Explosives and explosively unstable materials.

           (2)    High level or moderately radioactive materials.

           (3) Highly flammable gasses and materials which give off extremely
           flammable vapors, and other flammable liquids and solids.

           (4)    All compressed gasses, whether or not flammable or combustible.

           (5)    Gasoline and other liquid fuels.

           (6) Extremely toxic materials which are so poisonous that no bodily
           exposure should occur, such as parathion and hydrogen cyanide, as well as
           highly toxic materials which are likely to cause some injury or illness but not
           death from a moderate exposure.

           (7) Materials which are extremely corrosive to living tissue, such as
           bromine, which can injure almost instantaneously, or hydrofluoric acid which
           can strike through the skin to the tissues beneath and cause deep, slow-healing
           burns. Also included are materials that could cause severe eye injury, or
           destruction of tissue, particularly the eyes, if not removed from the body in a
           very short time.
(b)     Transporting Vehicles. As the term is used in the article shall mean all vehicles
and appurtenances thereto used for the transportation of hazardous materials in
commercial quantities, except that those vehicles which are equipped for the use of
liquefied petroleum gas as a fuel system for the vehicle itself shall not be subject to the
provisions of this article insofar as liquefied petroleum gas is carried on such vehicle for
fuel for such vehicle.

(c)     Designated Truck Terminal. An area for trans-shipment of merchandise and
service and maintenance of trucks.

(d)     Commercial Quantity. Any quantity of material transported by a vehicle not
intended for the vehicle's consumption and/or such quantity is intended for resale or is
being transported for hire.

(1959 Code of Ordinances, Sec. 10-21-2)

Sec. 10.1203    Miscellaneous Provisions

(a)     Any retail delivery of hazardous materials to local bulk facilities or users of such
products located off the designated routes as shown on the map located at the end of this
section will be permitted and authorized provided that the transporting vehicle uses the
designated routes to the point nearest the location of such using customer and the
transporting vehicle shall be driven from the specified route along the most practical and
direct route to the location of the customer and the return of such transporting vehicle
shall be along the most direct and practical route back to the designated routes as
established in this article.

(b)     No transporting vehicle containing hazardous materials shall be parked or stored
on the streets, alleys, public thoroughfares, or at any other point within the corporate
limits of the city except upon premises owned or leased by the owner of such transporting
vehicle and approved as a permanent commercial material location as provided by the
Fire Prevention Code of the city; provided, however, that such vehicle may be parked at
the point where the commodity is to be delivered and such delivery shall be made without
delay. In no event shall such transporting vehicle be parked for the purpose of unloading
or delivery of the hazardous materials for a longer period of time than one hour, unless
the express permission of the chief of the Fire Department is first obtained.

(c)     No hazardous materials shall be transferred from one transporting vehicle to
another transporting vehicle on any street, alley, public thoroughfare, or at any other
point in the city other than on the premises on which permanent storage facilities are
located; except, that in case of any emergency, such transfer may be made under the
supervision of the chief of the Fire Department.

(d)     Any such vehicles may be driven off the designated routes to a public garage or
repair shop when reasonably necessary for the maintenance and repair of such vehicle;
provided, however, that this provision shall never be construed as authorizing the repair
of vehicles in areas otherwise prohibited by the provisions of this code, or by state law.

(e)     Any person operating any of the aforesaid vehicles upon any street or roadway
which is not designated a truck route as provided for hereinabove shall have in his
possession for the inspection of police officer his log book or evidence of his destination
and point of origin to justify the presence of said vehicle on a street or roadway other
than a designated truck route.

(f)     The City of San Angelo will request and the Highway Department District
Engineer shall erect appropriate signs and markings advising operators of the above
named vehicles of the truck routes established herein. Whenever any street or roadway
designated as a truck route is under repair or otherwise temporarily out of use, the city
manager and Highway Department District Engineer shall be authorized to designate
alternate truck routes.

(1959 Code of Ordinances, Sec. 10-21-3)
ARTICLE 10.1000 PARKING RESTRICTED IN RESIDENTIAL DISTRICTS*

Sec. 10.1001     Definitions

Commercial Vehicle. Every vehicle, including motor vehicles and trailers, designed,
maintained or used primarily for the nonrecreational transportation of property and/or
people and the gross weight. of which exceeds three and one-half (3-1/2) tons. This
definition shall never be construed to include motor vehicles commonly known as
"pickup trucks".

Trailer. Every vehicle, designed or used to carry its load wholly on its own structure and
for being drawn by a motor vehicle.

Semi-Trailer. Every vehicle designed for carrying persons or property and for being
drawn by a motor vehicle and so constructed that some or part of its weight or load rests
upon or is carried by another vehicle.

Pole Trailer. Every vehicle, not a trailer or semi-trailer (as defined above) designed to be
drawn by another vehicle and attached to the towing vehicle by means of a reach or pole,
or by being boomed or otherwise secured to the towing vehicle and ordinarily used for
transporting long or irregularly shaped loads such as poles, pipe or structural members
capable generally of sustaining themselves as beams between the supporting connections.

Truck Tractor. Every motor vehicle designed and used primarily for drawing other
vehicles and not so constructed as to carry a load other than part of the weight of the
vehicle and load so drawn.

Residential District.

            (1)   Any lot or tract of land zoned to permit or actually used for residential
            purposes;

            (2) Any area within the city zoned for use as or actually used for residential
            purposes.

Recreational Vehicle. Every motor vehicle, trailer or semi-trailer primarily designed and
used as a temporary living quarters for recreational, camping or travel use; including
motor homes, truck camper, travel trailer and camping trailer.

(1959 Code of Ordinances, Sec. 10-19-1)

Sec. 10.1002     Parking Prohibited

It shall be unlawful for any person to park a commercial vehicle, trailer, semi-trailer, pole
trailer, truck tractor or recreational vehicle on a street or lot in a residential district or on a
street bordering a residential district. (1959 Code of Ordinances, Sec. 10-19-2)
Sec. 10.1003     Penalty

Any person violating the provisions of this article shall be guilty of a misdemeanor and
upon conviction thereof shall he fined in accordance with the general penalty provision
found in Section 1.106 of this code. (1959 Code of Ordinances, Sec. 10-19-3)

Sec. 10.1004     Presumption

The presence of any of the vehicles aforementioned in a prohibited area shall be prima
facie evidence that such vehicle is illegally parked and that same is illegally parked by
the owner of such vehicle or with the permission and consent of such owner. (1959 Code
of Ordinances, Sec. 10-19-4)

Sec. 10.1005     Exceptions

The prohibitions of this article shall not apply to:

           (1)   Trucks and trailers designed and used for transporting furniture and
           household goods while in the process of loading or unloading said items;

           (2)   Other trailers or commercial vehicles while in the process of loading or
           unloading;

           (3)     Mobile homes (as defined elsewhere within this code) provided that
           their right to occupy the location appears affirmatively from other statutes or
           ordinances;

           (4)   Trailers and semi-trailers used for recreational or home owner utility
           purposes and recreational vehicles (units hereinbelow) parked as follows:

                 (A)     Inside parking, or

                 (B)      Outside parking in a side yard not adjacent to and parallel to a
                 street so long as the unit is set back from the property line at least five
                 feet (5'), or

                 (C)     Outside parking in the rear yard so long as the unit meets the
                 setback requirements of an accessory building, as established elsewhere
                 within this code, or

                 (1959 Code of Ordinances, Sec. 10-19-5)

                 (D) Outside parking in the front yard or a side yard adjacent to and
                 parallel to a street so long as:
(i) Space is not available or there is no reasonable access to
                     either the side yard not adjacent to and parallel to a street or rear
                     yard; a corner lot is always deemed to have reasonable access to
                     the rear yard;

                     (ii)    Inside parking is not possible;

                     (iii) The unit is parked perpendicular to the street curb or street
                     edge, or parallel on an improved surface semi-circular drive;

                     (iv)    No part of the unit extends over a public sidewalk; and

                     (v) Providing the body of the unit (exclusive of tongue) is at
                     least ten feet (10') from the face of the curb or, should there be no
                     curb, ten feet (10') from the end of the street pavement.

               (E) Parking is permitted in a residential district, as provided above,
               only if the unit is:

                     (i) Not used for permanent dwelling purposes (unless said right
                     appears affirmatively from other statutes or ordinances) but may be
                     used temporarily as guest quarters for a period not to exceed more
                     than fourteen (14) days in any six (6) month period; and

                     (ii) Not connected to water lines or sewer lines (unless said right
                     appears affirmatively from other statutes or ordinances) for a
                     period of time exceeding fourteen (14) days in any six (6) month
                     period.

(Ordinance adopted 8/3/04)

               (F)     Notwithstanding the above, a unit may be parked anywhere on the
               premises during active loading or unloading and the temporary use of
               electricity or water line hookup is permissible when necessary to prepare
               a recreational vehicle for use

               (G)    Any vehicle parked for a period of less than two (2) hours while
               the person parking same is consuming a meal.

(1959 Code of Ordinances, Sec. 10-19-5)
ZONING ORDINANCE: CHAPTER 12, EXHIBIT “A” ARTICLE 1 GENERAL
PROVISIONS

Sec. 412. Home Occupations

In order to provide peace, quiet and domestic tranquillity within all residential
neighborhoods within the City and in order to help all residents gain freedom from
excessive noise, excessive traffic, nuisance, fire hazards and other possible side effects of
commercial uses being conducted in residential areas, the following standards shall apply
to all home occupations.

A. Criteria

           1. No person, other than members of the family who reside in the dwelling
           where a home occupation occurs, may engage in such occupation, profession,
           domestic craft, instructional or economic enterprise.

           2. The area utilized for the home occupation shall not exceed 25% of the
           gross floor area of the principal building where the home occupation occurs.

           3. In no way shall the appearance of the structure be altered or the
           occupation be conducted in a manner which would cause the premises to
           differ from its residential character either by the use of colors, materials,
           construction, lighting or the emissions of sounds, noise or vibrations. A home
           occupation shall produce no offensive noise, dust, odors or heat. A home
           occupation shall be completely contained within the principal building. Any
           noise, vibration, smoke, electrical interference, dust, odors, heat or visual or
           audio interference detectable beyond the property lines or beyond the walls of
           the dwelling unit, if the unit is part of a multi-family structure, shall constitute
           a violation of the terms of this Section.

           4. No detached accessory building may be used in conjunction with a home
           occupation.

           5. All material, equipment, and/or supplies used in conjunction with a home
           occupation shall be completely enclosed with no exterior storage, temporary
           or permanent, allowed.

           6. No stock, goods, wares or merchandise shall be sold on the premises
           other than that which is prepared or produced upon the premises. Direct sales
           on the premises of other merchandise is allowed by prior individualized
           invitation.

           7. Signage for home occupations shall be limited to one non-illuminated
           sign with a maximum area of two square feet.
8. Delivery and pickup of materials to and from the home occupation shall
not exceed two trips per week by a commercial vehicle. A "commercial
vehicle" is that which is defined in Section 10.1001 of the City's Code of
Ordinances.
City of San Angelo



Memo
 Meeting Date:    March 19, 2013

 To:              City Council members

 From:            Kevin Boyd, Planner

 Subject:         Mobile Home Permit 40, a request for temporary placement of a
                  mobile home, not to exceed 1 year, during construction of a
                  permanent home on the same 3 acre site in a Ranch & Estate
                  (R&E) zoning district, on the following property:

 Location:        1105 West 48th Street, located approximately 320 feet east of
                  the intersection of Lake Drive and West 48 Street; more
                  specifically occupying the Chandler Subdivision, Section 1,
                  Block 1, Lot 2, in northwest San Angelo.

 Purpose:         To allow a recreational vehicle to be placed on the subject
                  property, during the construction of a home on the same site.

 Contacts:        Kenneth A. Rocksuold, Owner                     (520) 241-9550
                  Kevin Boyd, Planner                             (325) 657-4210

 Caption:         Consideration of request for temporary placement of a mobile
                  home, not to exceed one year, during construction of a
                  permanent home on the same 3 acre site. 1105 West 48th
                  Street, located approximately 320 feet east of the intersection of
                  Lake Drive and West 48 Street; more specifically occupying the
                  Chandler Subdivision, Section 1, Block 1, Lot 2, in northwest
                  San Angelo.


 Summary: The City Council may:

   (1) Approve a Mobile Home Permit allowing a mobile home on the subject
       property, as requested: or
(2) Approve a Mobile Home Permit allowing a mobile home on the subject
           property, subject to conditions believed necessary and appropriate to
           mitigate any adverse effects of such use; or

       (3) Deny the requested Mobile Home Permit allowing a mobile home all
           together.

     Recommendation:          City staff recommends approving the temporary
     placement of a mobile home on the subject to one condition.



History and Background:

     General Information

          Existing Zoning:             Ranch & Estate (R&E)

          Existing Land Use:           Vacant, open space

          Surrounding Zoning/Land Use:

           North:            Ranch & Estate (R&E)       Residential dwellings
           West:             Ranch & Estate (R&E)       Open space and vacant
                             and Light Manufacturing    commercial building
                             (ML)
           South:            Ranch & Estate (R&E)       Storage yard
           East:             Ranch & Estate (R&E)       Residential dwellings

          Thoroughfares/Streets:       West 48th Street is classified as a ‘local
                                       street’  designed        to   carry   light
                                       neighborhood traffic at low speeds.

          Zoning History:              As far back as 1949, this area has been
                                       annexed into the city.

                                       In 1949, the property was zoned Ranch &
                                       Estate (R&E), which is an equivalent to the
                                       current zoning.

          Applicable Regulations:      Article 12.500 Section 15.504, “Temporary
                                       Mobile Home Installation.” A mobile home
                                       may be placed temporarily on a site during
                                       the construction of a home.

          Development Standards:       Section 303.A, “R&E (Ranch & Estate)
                                       District.” The intent of R&E is to provide
                                       opportunities for development of low
density, detached single-family residences
                             on lots of at least one acre in a suburban
                             or rural setting.

     Vision Plan Map:        Commercial

     Related Comp Plan
     Excerpt(s):             The intent of neighborhood is to reflect the
                             quality of life of its community by defining
                             each neighborhood individually within the
                             city. The subject property is defined as
                             “Ranch & Estate.”

Special Information

     Traffic Concerns:       The amount of traffic generated from the
                             proposed use will be minimum. West 48
                             Street is able to accommodate the
                             increased traffic generated by the site.

     Parking Requirements:   2 spaces, which include paved access to
                             the street.

     Parking Provided:       No parking currently exists on the site.

     Related Specific Use
     Standards:              Section 12.501, Zoning Ordinance
                             As used in this article, the term "mobile
                             home" shall be interpreted to mean include
                             "manufactured homes", or this case,
                             recreational vehicles (RVs).

                             Section 12.502, Zoning Ordinance
                             All mobile homes (including manufactured
                             homes), whether located in mobile home
                             parks or subdivisions, or on private lots,
                             which have been in place for a period
                             greater than one hundred twenty (120)
                             days, shall be tied down and anchored in
                             accordance with state standards.

                             Section 12.503 Skirting, Zoning Ordinance
                             All mobile homes, whether located in
                             mobile home parks or subdivisions, or
                             private lots, which have been in place for a
                             period greater than one hundred twenty
                             (120) days, shall be skirted in accordance
                             with the official code of the city.
Notification Required?:       Yes

       Notifications Sent:           10

       Responses in Favor:           0

       Responses in Opposition:      0


Analysis:

The staff recommendation is based upon the statements listed below.

On February 2013, the proponent made a request to temporarily place a recreational
vehicle on the subject property, while his house is under construction. In normal
circumstances within the city, placement of mobile homes – on a permanent basis –
is limited to Manufactured Housing Parks (MHP) or Manufactured Housing
Subdivisions (MHS) districts and various locations in the city where it is allowed only
by use of a special permit. This temporary request is an alternative that is intended to
provide temporary living quarters for the property owner, while construction of the
primary structure is underway. It is important to note that once the year duration has
elapsed, the use must no longer be a place of residence (Article 12.500, City
Ordinances).

The temporary permit procedure to allow for placement of a mobile home, in order to
construct an allowed residence, is typically prohibited in Ranch & Estate zoning or
any residential district. The permit does not allow for a long-term variance, in fact, a
period of one year is expressly outlined in the Ordinance. In sum, approval of this
request offers a temporary reprieve – with the possibility of a one year extension.

The property in question is currently a vacant empty lot zoned Ranch and Estate
(R&E). While the Vision Plan calls for Commercial in the area, much of the
surrounding area is characteristic of low density residential development. A lot
roughly 250 feet to the west is occupied by a vacant commercial building. Tracts in
the area are quite sizeable; many of the lots are greater than 2 acres. Staff is
recommending approval of this request given the rural nature of the area, and the
fact that the proposed use is low intensive and will not disturb the natural
environment of the area. Staff affirms that R&E zoning districts are required to
comply with applicable standards, and that allowing this temporary permit is
consistent with the spirit of the Zoning Ordinance given the long term, permanent
plans for the property.

Although this request would provide a temporary living solution, a possible extension
granted by City Council could allow the structure to exist on the lot for an additional
year. Any period longer than this, staff believes, would be a contradiction to the spirit
and intent of R&E zoning. Furthermore, it would provide an exception not available to
others thus creating an inequitable situation, which is not what the Zoning Ordinance
seeks to encourage here. Given the location and intent of this request, staff
recommends approval since the location is appropriate, is consistent with spirit of the
Zoning Ordinance, and provides equality in the administering of regulations.

Proposed Conditions

1) The mobile home shall cease to be a dwelling unit on the property by
   February 1, 2014 as requested by the applicant, unless an extension is
   approved by the City Council.




Attachments:                Excerpt from zoning map, showing the general
                            location within the City of San Angelo;

                            Excerpt from       zoning    map,    highlighting   subject
                            property; and

                            Aerial photo, highlighting subject property;

                            Excerpt of the favor/opposition notification map; and

                            Applicant’s handwritten request for a temporary
                            permit.

Presentation:               AJ Fawver, AICP, Interim Director of Development
                            Services

Reviewed by:                Jeff Hintz, Interim Senior Planner
AN ORDINANCE AMENDING THE CODE OF
              ORDINANCES OF THE CITY OF SAN ANGELO, TEXAS,
              CHAPTER 5 “BUSINESS AND COMMERCE”, ARTICLE
              5.800 “HOTEL OCCUPANCY TAX”, SECTION 5.805
              “PURPOSE AND DISTRIBUTION OF TAX”, BY
              REPEALING SAID SECTION IN ITS ENTIRETY AND
              ADOPTING A NEW SECTION 5.805 ENTITLED, “USE OF
              REVENUE”,   TO   REMOVE      THE   MANDATED
              ALLOCATION OF REVENUE FOR USES ON A FIXED
              PERCENTAGE BASIS AND TO PROVIDE FOR
              ALLOCATION OF REVENUE FOR USES PERMITTED BY
              LAW AS CITY COUNCIL MAY DETERMINE WILL
              PROVIDE THE BEST VALUE IN APPLICATION OF
              HOTEL OCCUPANCY TAX REVENUE TO THE CITIZENS
              OF SAN ANGELO BY RESOLUTION FROM TIME TO
              TIME.


       WHEREAS, the City of San Angelo levies and collects a hotel occupancy tax , the
revenue of which is allocated on a fixed percentage basis for uses as mandated by the City of
San Angelo Code of Ordinances, Chapter 5 “Business and Commerce”, Article 5.800 “Hotel
Occupancy Tax”, Section 5.805 “Purpose and Distribution of Tax”; and,

        WHEREAS, the City of San Angelo is experiencing a changing economy and related
positive hotel occupancy tax revenue collections and,

        WHEREAS, amending the Hotel Occupancy Tax Ordinance by removing the mandated
allocations of revenue for uses on a fixed percentage basis, and providing that the City Council
allocate revenue for uses pursuant to law as the City Council may determined from time to time,
will provide the best value in application of hotel occupancy tax revenue to the citizens of City
of San Angelo;

       NOW THEREFORE BE IT ORDAINED BY THE CITY OF SAN ANGELO:

Section 1.)    THAT, Chapter 5, “Business and Commerce”, Article 5.800 “Hotel Occupancy
              Tax” of the Code of Ordinances of the City of San Angelo, Section 5.805
              “Purpose and Distribution of Tax”, is hereby repealed in its entirety and a new
              Section 5.805 entitled “Use of Revenue” is hereby adopted to read as follows:

       “Sec. 5.805    Use of Revenue

       (a) The revenue derived from this Hotel Occupancy Tax shall only be used to promote
           tourism and the convention and hotel industry as limited by the Texas Tax Code,
           Chapter 351 “Municipal Hotel Occupancy Taxes” as now enacted or hereafter
           amended, in accordance with resolution of the city council..

       (b) The city council by contract may delegate to a person, including another
           governmental entity or a private organization, the management or supervision of
programs and activities funded with revenue from the tax authorized by this article.
              The city council shall approve in writing in advance the annual budget of the person,
              governmental entity or private organization to which it delegates those functions and
              shall require the person, governmental entity or private organization to make periodic
              reports to the City Council at least quarterly listing the expenditures made by the
              person, governmental body or private organization with revenue from the tax
              provided by the city as authorized by law. The person, governmental entity or private
              organization must maintain revenue provided by the city from the tax in a separate
              account established for that purpose and may not commingle that revenue with any
              other money or maintain it in any other account. The approval by the city council of
              the annual budget of that person, governmental entity or private organization to
              whom it delegates those functions creates a fiduciary duty in that person,
              governmental entity or private organization with respect to the revenue provided by
              the city from the tax”.

       (e)       This article shall become effective on the date of its adoption, and shall apply to
                 taxes due and received from and after                               , 2013

Section 2.)      THAT, the terms and provisions of this Ordinance shall be deemed to be
                 severable in that if any portion of this Ordinance shall be declared to be invalid,
                 the same shall not affect the validity of the other provisions of this Ordinance

Section 3.)      THAT, this Ordinance shall be effective on the date of its adoption.


       INTRODUCED on the               day of                , 2013, and finally PASSED,
APPROVED and ADOPTED on this the                      day of          , 2013.



                                                       CITY OF SAN ANGELO, TEXAS


ATTEST:                                                BY:
                                                               Alvin New, Mayor

By:    Alicia Ramirez, City Clerk

Approved as to Content:                                Approved as to Form:



Michael Dane                                           Lysia H. Bowling
Assistant City Manager / CFO                           City Attorney
City of San Angelo



Memo
 Date:      March 7, 2013
 To:        Mayor and Councilmembers
 From:      Michael Dane, Assistant City Manager/CFO
 Subject:   Agenda Item for March 19, 2013, Council Meeting
 Contact:   Morgan Trainer, 653-6291
 Caption:   Regular Agenda
            First Public Hearing and consideration of introducing an Ordinance amending the
            allocation method of Hotel Occupancy Tax and related matters

            AN ORDINANCE AMENDING THE CODE OF ORDINANCES OF THE CITY OF
            SAN ANGELO, TEXAS, CHAPTER 5 “BUSINESS AND COMMERCE”, ARTICLE
            5.800 “HOTEL OCCUPANCY TAX”, SECTION 5.805 “PURPOSE AND
            DISTRIBUTION OF TAX”, BY REPEALING SAID SECTION IN ITS ENTIRETY
            AND ADOPTING A NEW SECTION 5.805 ENTITLED, “USE OF REVENUE”, TO
            REMOVE THE MANDATED ALLOCATION OF REVENUE FOR USES ON A
            FIXED PERCENTAGE BASIS AND TO PROVIDE FOR ALLOCATION OF
            REVENUE FOR USES PERMITTED BY LAW AS CITY COUNCIL MAY
            DETERMINE WILL PROVIDE THE BEST VALUE IN APPLICATION OF HOTEL
            OCCUPANCY TAX REVENUE TO THE CITIZENS OF SAN ANGELO BY
            RESOLUTION FROM TIME TO TIME;

 Summary:   City staff is requesting the City Council consider adopting an Ordinance adopting
            changes to the use of hotel occupancy tax dollars. Due to San Angelo’s changing
            economy and positive hotel occupancy tax experience, it is prudent to change
            existing methodology to provide the best value to the citizens of San Angelo.

            Changes to the ordinance remove the requirement to allocate HOT funds on a
            percentage basis and allow the City Council allocate through an annual approval
            process.

            Staff will remind the Council of these percentages at the time allocations are
            decided and ensure Council allocates funding in accordance with State Law.

 History:   The City of San Angelo levied the hotel occupancy tax for the operation of
            convention facilities, the promotion of tourism, and the improvement of the arts.
            Current contracts and ordinances allocate 48% of tax receipts to City of San
            Angelo Civic Events, 47% to the Convention & Visitors Bureau, and the remaining
            5% to the San Angelo Cultural Affairs Council. The current tax rate is 7% for the
            City of San Angelo. The state levies an additional 6%. No change is proposed to
            the tax levy.

            On February 5, 2013 City Council discussed changing the Hotel Occupancy Tax
            allocation process. On March 5, 2013 staff presented a draft contract with the
            Chamber of Commerce Convention & Visitors Bureau to revise the way Hotel
            Occupancy Tax dollars are disbursed to include clear communication, performance
benchmarks, demonstrate the value added, and allow the City Council to shape the
               entity’s activity.

Financial Impact: Due to recent positive economic experience, Hotel Occupancy Tax receipts
               have increased. The proposed ordinance will allow City Council greater flexibility
               and will place greater accountability on recipients. As a result, any excess funds or
               surplus receipts will be made available for one-time or capital projects as allowed
               by Chapter 351 of the State Tax Code.

Related Vision Item (if applicable): Financial Vision

Other Information/Recommendation: Staff recommends introduction of the ordinance.

Attachments: Article 5.800 of the Code of Ordinances

Presentation: N/A

Publication:   N/A

Reviewed by Director: Michael Dane, Assistant City Manager/CFO March 8, 2013

Approved by Legal: Pending
City of San Angelo
                                                                  Finance Department



Memo
 Date:           March 12, 2013
 To:             Mayor and Councilmembers
 From:           Alicia Ramirez, City Clerk
 Subject:        Agenda Item for March 19, 2013 Council Meeting
 Contact:        Alicia Ramirez, City Clerk, 657-4405
                 Tracy Ogle, COG, 944-9666
 Caption:        Consideration of nominating City Council members to serve as a representatives on the
                 Concho Valley Council of Government General Assembly
 Summary/History:           The COG Bylaws provide voting membership eligibility for the City. The City should
 designate one member to the Executive Committee and two additional representatives to the General
 Assembly of the COG. The three representatives must be members of the Council and nominated by the
 Council.   Due to the resignation of former Councilmember Adams, a City Council member should be
 nominated to fill the vacancy.

 According to the COG Bylaws, Representation, each member city which is incorporated and has a population
 exceeding 50,000 shall have three (3) representatives who are qualified and elected as prescribed in Article
 III, A. To date, two City Council members are appointed.

 Current appointees are as follows:

         Executive Committee - Meetings: Second Wednesday, 7:00 PM, CVCOG facility

         Mayor Alvin New              (appointed 1/19/10)

         General Assembly - Meetings: Annually in December

         Fredd Adams      (appointed 6/1/10)
         Charlotte Farmer (appointed 6/23/09)

 Financial Impact:       None

 Related Vision Item (if applicable): N/A

 Other Information/Recommendation: Staff recommends Council nominate a member or members to
 the COG board.

 Attachments: Letter from COG, Bylaws, and Member Listing

 Presentation: N/A

 Publication:    N/A
CONCHO VALLEY COUNCIL OF GOVERNMENTS
                         GENERAL ASSEMBLY REPRESENTATIVES
                                  SEPTEMBER 2012

                                          COUNTIES

Member Government                    Representative(s)                   Status

1.     Coke County                   Judge * Roy Blair                   (1)
2.     Concho County                 Judge * Allen Amos                  (1)
3.     Crockett County               Judge *Fred Deaton                  (1)
4.     Irion County                  Commissioner *John Nanny            (1)
5.     Kimble County                 Judge * Andrew Murr                 (1)
6.     Mason County                  Judge * Jerry Bearden               (1)
7.     McCulloch County              Judge * Danny Neal                  (1)
8.     Menard County                 Judge * Richard Cordes              (1)
9.     Reagan County                 Judge * Larry Isom                  (1)
10.    Schleicher County             Judge * Charlie Bradley             (1)
11.    Sterling County               Judge * Ralph Sides                 (1)
12.    Sutton County                 Commissioner * Miguel Villanueva    (1)
13.    Tom Green County #1           Judge * Michael Brown               (1)
14.    Tom Green County #2           Commissioner Ralph Hoelscher        (1)
15.    Tom Green County #3           Commissioner Aubrey deCordova       (1)

                                            CITIES

16.    Big Lake                      Council Member Cliff Miller         (1)
17.    Brady                         Council Member Brendan Weatherman   (1)
18.    Bronte                        Mayor Gerald Sandusky               (1)
19.    Eden                          Council Member Butch Williams       (1)
20.    Eldorado                      Mayor John Nikolauk                 (1)
21.    Junction                      Mayor Larry Maddux                  (1)
22.    Mason                         VACANT
23.    Melvin                        VACANT
24.    Menard                        Mayor Barbara Hooten                (1)
25.    Mertzon                       Mayor Art Uber                      (1)
26.    Paint Rock                    Mayor Duane Schniers                (1)
27.    Robert Lee                    Mayor John R. Jacobs                (1)
28.    San Angelo #1                 Councilmember Fredd B. Adams        (1)
29.    San Angelo #2                 Councilmember Charlotte Farmer      (1)
30.    San Angelo #3                 VACANT
31.    Sonora                        Mayor Smith Neal                    (1)
32.    Sterling City                 VACANT- notification sent

                                      OTHER MEMBERS



33.    San Angelo I.S.D. #1          * Lanny Layman                      (1)
34.    San Angelo I.S.D. #2          Tim Archer                          (1)
35.    State Legislator #1           * Drew Darby                        (2)
36.    State Legislator #2           * Harvey Hilderbran                 (2)


(1) Written designation on file
(2) Appointed by Executive Committee
* Also designated as Executive Committee Member
BYLAWS
            Of the



    CONCHO VALLEY

COUNCIL OF GOVERNMENTS


    San Angelo, Texas


         As Amended:
        August 9, 1978
      December 10, 1980
       October 10, 1981
      September 11, 1982
        March 6, 1996
       October 14, 2009
BYLAWS
                                           OF THE
         CONCHO VALLEY COUNCIL OF GOVERNMENTS


                                         PREAMBLE

We, the elected officials of local governments in the Concho Valley Region hereby join together in a
voluntary association to be known as the Concho Valley Council of Governments for the purpose of
meeting at regular intervals to discuss and study community challenges of mutual interest and concern,
and to develop policy and action recommendations for ratification and implementation by member local
governments.

We realize that our individual and common destinies rest with the interdependent actions of the local
governments which comprise our region.

This voluntary association which we have formed is a vehicle for closer cooperation and is not a new
layer of government nor a super-government. As a voluntary organization of local governments, the
members seek, by mutual agreement, solutions to mutual problems for mutual benefit.

Our goal is to retain and strengthen local home rule while combining our total resources for regional
challenges beyond our individual capabilities.

We believe that the expansion of the concept of voluntary cooperation among local governments is an
effective means for achieving this goal. We believe that cooperation must be fostered in two ways: By
strengthening the abilities of local governments to meet individual local needs; and by developing a
voluntary association (council) of local governments to meet the broader common needs.




                                      ARTICLE I
                                    ORGANIZATION


There is hereby organized under Chapter 391, Local Government Code, (Formerly, Article 1011M,
Vernon’s Annotated Civil Statutes), a regional planning commission which shall be known as the Concho
Valley Council of Governments, which shall be a voluntary association of governments.
ARTICLE II
                                           PURPOSE
The Concho Valley Council of Governments shall be a voluntary organization of local governments to
foster a cooperative effort in resolving problems, policies, and plans that are common and regional. The
purpose of this organization is:

   A. To join and cooperate to improve the health, safety, and general welfare of their residents;

   B. To plan for the future development of communities, areas, and regions;

   C. To improve the planning of transportation systems;

   D. To help provide adequate street, utility, health, educational, recreational, and other essential
      facilities as the communities, areas, and regions grow;

   E.   To recognize the needs of agriculture, business, and industry;

   F. To help provide healthful surroundings for family life in residential areas;

   G. To help preserve historical and cultural values;

   H. To help ensure the efficient and economical use of public funds is commensurate with the growth
      of the communities, areas, and regions.

   I.    To make studies and plans to guide the unified, far-reaching development of a region, eliminate
        duplication, and promote economy and efficiency in the coordinated development of a region.
ARTICLE III
                                   MEMBERSHIP

A. Requirements

   1. The geographic area within which eligible members shall be located, in whole or in part, is
      determined by reference to “Planning Regions for the State of Texas”, December, 1968. This
      delineation of Texas into twenty-one, now twenty-four, and multi-county planning regions
      was accomplished in response to a demonstrated need for improved communication and
      coordination among and between the planning and related efforts of the state, federal, and
      local governments. The Governor of Texas, by Executive Order, directed all state agencies to
      recognize this concept. The counties included in this region are Coke, Concho, Crockett,
      Irion, Kimble, Mason, McCulloch, Menard, Reagan, Schleicher, Sterling, Sutton and Tom
      Green. Any additions or deletions of counties in the Concho Valley State Planning Region
      which may be made from time to time by the Office of the Governor will accordingly affect
      the eligibility of such counties for membership in CVCOG.

   2. Members must be geographically situated within a county listed in Article III, A.1.

   3. All incorporated communities within a county shall become members simultaneously with
      the county. The Executive Committee may deviate from this requirement when requested if
      in its opinion such a deviation would give priority to the condition that the incoming
      members who are units of general local government together represent 75% of the aggregate
      population of the county.

   4. The membership by a county will continue the contiguous nature of the existing membership
      and will not create a geographic void in the existing membership area.

   5. Compliance by the member with the requirement in the Bylaws concerning financial
      contributions of its members.

   6. Voting membership shall be open to:

           a.   Member counties
           b.   Member cities/towns
           c.   Member school districts
           d.   Member soil and water conservation districts
           e.   Member River Authorities
           f.   Member Water Districts
           g.   Other special districts by permission of the Executive Committee
7. Upon approval of the Executive Committee, pending final approval of the General Assembly,
      eligible governmental units, public utility companies, public and private companies within the
      area of the CVCOG may become associate members of the CVCOG by passage of an
      ordinance, minute order, resolution or other appropriate and legal action of the governing
      body of such units adopting Articles of Association and appropriating the funds required to
      pay their share of the dues of the CVCOG. In no event shall an associate member in the
      CVCOG be entitled to voting representation in the General Assembly or on the Executive
      Committee.


B. Representation

   Each member government shall be officially represented at the General Assembly as follows:

       1. Each member county shall have one (1) representative who shall be an elected official, a
          member of the Commissioner’s Court, and elected by the Commissioner’s Court.

       2. Each member county with a population exceeding 50,000 shall have two (2) additional
          representatives elected as prescribed in Article III, B.1.

       3. Each member city which is incorporated shall have one (1) representative who shall be an
          elected official, a member of the member city’s legislative body, and elected by that
          legislative body.


       4. Each member city which is incorporated and has a population exceeding 25,000 shall
          have two (2) representatives who are qualified and elected as prescribed in Article III, A.


       5. Each member city which is incorporated and has a population exceeding 50,000 shall
          have three (3) representatives who are qualified and elected as prescribed in Article III,
          A.


       6. Each member independent school district with an enrollment of 10,000 or more shall
          have two (2) representatives who shall be elected members of the school board.


       7. Each member independent school district with an enrollment of less than 10,000 shall
          have one (1) representative who shall be an elected member of the school board.


       8. Member Soil and Water Conservation Districts, Member River Authorities and Water
          Districts, and other member special districts shall each have one (1) representative who is
          a member of its governing body and appointed by that body.


       9. The population of any member governmental unit shall be determined by the preceding
          United States Census. After each United States Census membership shall be adjusted
          accordingly.
10. As used in these Bylaws, the term “elected official” means a Mayor and other members
          of the governing body of a city, town or village, a county judge, a county commissioner,
          a member of the Board of Trustees of a School District, a member of the Board of
          Supervisors of a Soil and Water Conservation District, or a member of the governing
          body of a special district other than a Soil and Water Conservation District.


      11. As used in these Bylaws, the terms “cities”, “towns”, and “villages” shall mean those
          communities incorporated as such pursuant to the terms and requirements of the laws of
          the State of Texas.


      12. Representatives shall serve during the term of office to which they have been elected as
          members of governing bodies of CVCOG member governmental units unless replaced
          sooner by the appointing authority.


      13. In addition to the above named members, two members of the Texas Legislature whose
          districts include all or part of the Concho Valley Region shall be designated by the
          Executive Committee to serve as members of the General Assembly. Such members
          shall serve until a successor shall be appointed by the Executive Committee.


C. Admission and Withdrawal

      1. Membership in the CVCOG shall be contingent upon execution of a resolution,
         ordinance, minute order or other appropriate legal action by the governing body of the
         member.

      2. Withdrawal from membership may be accomplished upon execution of a resolution,
         ordinance, minute order or other appropriate legal action by the governing body of the
         member.

D. Dues

  The CVCOG shall send each member before June 1st of each year a statement of dues for the
  coming year. Each member governmental unit shall pay to CVCOG an amount equal to one
  year’s dues on or before October 1st of each year. Members whose annual dues have not been
  paid as of October 31st of the dues’ year shall be given written notice by certified mail, return
  receipt requested, as soon thereafter as practicable of this delinquency, which notice shall include
  a statement advising such member that it is delinquent and further advising that if such dues are
  not paid within thirty (30) days from the date of such notice, its membership and all privileges
  afforded thereby, including the right to vote, shall be terminated automatically as provided herein.
  Thereafter, upon the expiration of thirty (30) days from the date of such notice, any delinquent
  member shall be notified by certified mail, return receipt requested, that its membership and all
  privileges afforded thereby have been terminated. A terminated member shall automatically be
  reinstated upon payment of all delinquent dues and the current dues, if any, then owing. The
  amount of annual dues shall be as follows:
1. Member counties and cities shall pay annual dues in the amount of $.05 per capita.

            2. Each independent school district with an enrollment of over 10,000 shall pay annual dues
               of $1,000.00.

            3. All other independent school districts shall pay annual dues of $100.00.


            4. All other voting members shall pay annual dues of $25.00.


            5. Associate members shall pay annual dues of $200.00.


            6. Annual dues by any member shall in no event be less than $25.00.




                                             ARTICLE IV
                                           POLICY BODIES

The CVCOG shall have two policy bodies – a General Assembly and Executive Committee.

A. General Assembly

                 1.       Quorum. A quorum of the General Assembly shall consist of a majority of the
total representatives of the member general purpose governments. Proxies shall be in writing; stating the
name of the proxy, date of the meeting and signed by the person giving the proxy with this stipulation:
proxies may only be held by those representing the membership of the person giving the proxy, i.e. a
member who represents an entity must give his or her proxy to someone representing the same entity.
The presiding officer at the meeting shall be the sole judge of the validity of the proxy and shall identify
all proxy votes at the beginning of each meeting. Associate members shall not be included for quorum
purposes.

                2.     Voting. Each representative of a member government and member of the Texas
Legislature designated by the Executive Committee shall have one (1) vote in the General Assembly.
Proxies may vote at any meeting of the General Assembly for which they were duly appointed and
accepted.

            3. Meetings. The General Assembly is required to meet at least one time each fiscal year of
               the CVCOG. The exact date of the meeting shall be determined by the Executive
               Committee. Election of officers shall be held at this meeting. The General Assembly
               shall also meet upon call of its president or the Executive Committee, or by petition of at
               least 10% of the membership of the General Assembly.
4.      Responsibilities. The responsibilities of the General Assembly are:

                                a. To adopt and amend Bylaws;
                                b. To review actions of the Executive Committee;
                                c. To annually elect from representatives of general purpose
                                   member governments a President, Vice-President, Secretary, and
                                   other officers as required.; and
                                d. To resolve questions arising under Article III.

             5.     Policy Recommendations. The General Assembly may recommend policy to
     the Executive Committee which shall be the governing body of the CVCOG.


B.   Executive Committee

            1.      Membership

                      a. Except when filling a vacancy, new Executive Committee members, after
     being duly selected, shall assume their position on the Executive Committee beginning January
     1st following their appointment.

                    b. Each county, within the Concho Valley region, shall have one representative
     who shall be the County Judge or a County Commissioner, appointed by the Commissioner’s
     Court.

                      c. A member city with a population of 50,000 or more (determined by the
     preceding U.S. Census) shall have one (1) representative on the Executive Committee chosen
     from that unit’s governing body.

                       d. A member independent school district with an enrollment exceeding 10,000
     shall have one (1) representative on the Executive Committee chosen from that independent
     school district’s representatives to the General Assembly.

                      e. Two members of the Texas Legislature chosen by the other members of the
     Executive Committee from among the legislators whose districts include all or a portion of the
     Concho Valley Region shall be voting members of the Committee. Such members shall serve
     until a successor shall be appointed.

     2. Officers.
             a. The officers of the Executive Committee shall be Chair, Vice-Chair and Secretary.
     The officers shall be elected annually by the Executive Committee.
             b. Should a vacancy occur in the office of the Chair, the Vice-Chair shall become Chair
     for the balance of the unexpired term. Should a vacancy occur in the office of Vice-Chair, the
     Secretary shall become Vice-Chair for the balance of the unexpired term. Should a vacancy
     occur in the office of the Secretary, the Executive Committee shall by simple majority of the
     members present, elect a new Secretary to serve the balance of the unexpired term.

     3. Quorum. A quorum of the Executive Committee shall consist of a majority of the total
     members of the Executive Committee in good standing. Proxies shall be in writing; stating the
     name of the proxy, date of the meeting and signed by the person giving the proxy with this
stipulation: proxies may only be held by fellow Executive Committee members in good standing.
The presiding officer at the meeting shall be the sole judge of the validity of the proxy and shall
identify all proxy votes at the beginning of each meeting. Proxies do not count for purposes of a
quorum.

4. Vacancies. Should any member of the Executive Committee miss three consecutive regular
meetings of such Committee without reason satisfactory to the Executive Committee, then the
Executive Committee may declare the post vacated. When a vacancy occurs on the Executive
Committee by reason or removal, resignation, death, withdrawal from public office, or any other
reason, the remaining members of the Executive Committee shall appoint an eligible replacement
until the appropriate appointing authority designates a new member.

5. Voting. Voting on routine matters in the Executive Committee requires a simple majority of
those members present and voting. Proxies may vote at any meeting of the Executive Committee
for which they were duly appointed and accepted.

6. Meetings. The Executive Committee shall meet at least monthly or on call of its Chairman, or
at the direction of the General Assembly, or upon call of at least 10% of the voting membership
of the Executive Committee.


7. Responsibilities. The responsibilities of the Executive Committee are:

        a. To adopt CVCOG budget and membership fee schedules;

        b. To initiate, advise and aid in the establishment of cooperative arrangements, among
        local governments in the region;

        c. To propose, initiate, or approve any study, policy discussion, plan, or other CVCOG
        policy matters;

        d. To resolve questions arising under Article IV.B.1.

        e. To make recommendations to any local governments or other appropriate agencies or
        entities;

        f. To propose amendments to intergovernmental agreements for ratification of members;

        g. To designate an Applications Review Committee pursuant to Section 204 of the
        Demonstration Cities and Metropolitan Development Act of 1966, and relevant
        Executive Orders, in accordance with the guidelines established by the Office of
        Management and Budget.

        h. To nominate a slate of officers to the General Assembly for approval and election;

        i. To appoint, fix salary of, and remove Executive Director;

        j. To be responsible for prescribing adequate controls for the investment, receipts,
        disbursement, and accounting for all CVCOG funds.

        k. To review CVCOG’s investment policy annually.
l. To provide for an independent audit annually, with the auditor selected pursuant to a
                Request for Proposals (RFP) to be released at least every five (5) years. The maximum
                number of consecutive years that an auditor may provide services shall be five (5).

                m. To provide an opportunity for the state and federal governments and other agencies
                having interest to participate in CVCOG activities;

                n. To seek and accept contributions and grants-in-aid;

                o. To provide for the duties, responsibilities and powers of officers and staff members;

                p. To execute, approve execution, ratify, confirm, or authorize the execution of any
                contract or any amendment of any contract in its own right or by and through the
                Executive Director until such time as the Executive Committee shall by resolution
                terminate such power;

                q. To provide that the certification of the Executive Director to the termination or non-
                termination of any power to contract, granted in these Bylaws, shall be conclusive of the
                same.




                                            ARTICLE V
                                              STAFF
        The CVCOG shall have staff as provided for by the policy bodies. The Executive Committee
shall have authority to appoint and remove the Executive Director and may authorize such other staff
positions deemed necessary to carry out the functions of the CVCOG. The Executive Director shall be
responsible for coordinating all staff and consultant services provided for to the CVCOG, preparing and
administering the Annual work program and budget, employing, retaining, and removing all other
personnel as may be necessary, performing all other duties delegated to him by the Executive Committee,
including but not limited to the power to execute contracts as hereinafter specified. When time is of the
essence, as determined by the Executive Director, said Executive Director shall have the power to execute
any and all proper contracts, agreements or amendments of the same, and said contract, agreement, or
amendment of the same shall be valid, binding and in full force and effect until such time as the Executive
Committee shall by resolution reject it. When time is not of the essence, as determined by the Executive
Director, each contract, agreement and/or amendment of the same shall be specifically approved by the
Executive Committee by Resolution attached to the same, before the same shall be binding and in full
force and effect. The certificate of the Executive Director that time is of the essence and that his
contractual powers have not been terminated shall be conclusive of the same. The Executive Committee
may require a fidelity bond, or other appropriate insurance of fidelity coverage in such amounts as seem
prudent, on designated members of the Executive Committee and staff. The premiums for such bonds or
insurance shall be paid by the CVCOG.
ARTICLE VI
                                            FINANCE
A. Budget

         The annual budget may be prepared in a manner that involves the splitting of the budget into a
core budget and a special projects budget. The core budget will be the basic program budget, the benefits
of which are received by all members. The special projects budget will include items of special interest
and benefit to some of the members, but not necessarily all of them. The special projects budget will be
supported by special contributions from those governments which directly benefit from the special
project.

B. Authorization to Sign Checks

       Checks will be signed by the persons to be designated by the Executive Committee. The
Executive Director will certify that the item or the items for which the check is issued are payable and
where appropriate will allocate charges to a specific project.

C. Contributed Services

        Financial contributions to the CVCOG may take the form of contributed services, the cash
equivalent of which can be readily determined.
ARTICLE VII
                                 CITIZEN INVOLVEMENT
         The solicitation and consideration of citizen viewpoints shall be achieved through the mechanism
of citizen advisory committees which shall be designated by and serve at the pleasure of the General
Assembly and/or the Executive Committee.




                                         ARTICLE VIII
AMENDMENTS

         These Bylaws may be amended (repealed) or added to at regular or special meetings of the
General Assembly, provided that ten (10) days in advance of the meeting a written notice shall have been
sent to each representative, which notice shall state the amendments or changes which are proposed to be
made in such Bylaws. Proposed amendments shall be considered to have passed if two-thirds of the
participating representatives vote in the affirmative.




                                                ******




Adopted October 7, 1967

Amended August 9, 1978
December 10, 1980
October 10, 1981
September 11, 1982
March 6, 1996
October 14, 2009

March 19, 2013 Agenda Packet

  • 1.
    NOTICE OF APUBLIC MEETING AN AGENDA OF A REGULAR MEETING OF THE CITY COUNCIL THE CITY OF SAN ANGELO, TEXAS 9:00 A.M. - Tuesday, March 19, 2013 McNease Convention Center, South Meeting Room 500 Rio Concho Drive THE MCNEASE CONVENTION CENTER IS ACCESSIBLE TO PERSONS WITH DISABILITIES. ACCESSIBLE ENTRIES AND SPECIALLY MARKED PARKING SPACES ARE AVAILABLE AT BOTH MAIN ENTRANCES AT SURBER DRIVE AND RIO CONCHO DRIVE. IF ADDITIONAL ASSISTANCE IS NEEDED TO OBSERVE OR COMMENT, PLEASE NOTIFY THE OFFICE OF THE CITY CLERK, ROOM 210, CITY HALL, 657-4405, AT LEAST 24 HOURS PRIOR TO THE MEETING. City Council meetings are broadcast on Channel 17-Government Access at 10:30 A.M. and 7:00 P.M. every day for two weeks beginning on the Thursday after each meeting. As a courtesy to those in attendance, please place your cell phone on “Silent” or “Vibrate” Thank You! I. OPEN SESSION (9:00 A.M.) A. Call to Order B. Prayer and Pledge "Honor the Texas flag; I pledge allegiance to thee, Texas, one state under God, one and indivisible.” C. Proclamations Nutrition Month, March 2013, to be accepted by Betty Teston, Big Country Academy of Nutrition & Dietetics, local organization for Dietitians and members of the American Academy of Nutrition & Dietetics (form) Lutheran Schools Month, March 2013, to be accepted by by Ron Fritsche, Principal of Trinity Lutheran School D. Recognition Rex Rogers, for winning the contest suggesting the name for the City’s government access channel SATV E. Public Comment The Council takes public comment on all items in the Regular Agenda. Public input on a Regular Agenda item will be taken at its appropriate discussion. Public input on an item not on the Agenda or Consent Agenda may be identified and requested for consideration by the Council at this time. The Council may request an item to be placed on a future agenda, or for a Consent Agenda item, to be moved to the Regular Agenda for public comment. II. CONSENT AGENDA 1. Consideration of approving the February 26, 2013 City Council Special meeting minutes and the March 5, 2013 City Council Regular meeting minutes 2. Consideration of adopting a Resolution awarding bid CFM-01-13for Pest Control Services to Bug Express authorizing the City Manager to execute related documents (submitted by Construction & Facilities Manager Ron Lewis) City Council Agenda Page 1 of 5 March 19, 2013
  • 2.
    3. Consideration ofapproving a residential lease renewal located at Lot 104, Group Shady Point, 6678 Knickerbocker Road (Persely), and authorizing the Water Utilities Director to execute the same (submitted by Interim Water Utilities Director Ricky Dickson) 4. Consideration of adopting a Resolution of the City of San Angelo authorizing the Mayor to execute a tax-resale (quitclaim) deed conveying all right, title and interest of the City of San Angelo, and all other taxing units interested in the tax foreclosure judgment: a. 1944 & 1948 Magnolia Street, (Gonzalez), Lots 1 & 2, Block 2, Avondale, $1,000.00, Suit No.B99-0081- T b. 207 E Avenue L, (Perez), E 50’ x 238’ of a 1 acre Tract, Fisher Miller, $750.00, Suit No.TAX89-0388B c. 725 Hughes Street, (Salinas), Lot 9, Block 2, Culwell, $950.00, Suit No. B-03-0087-T d. 816 Volney, (Salinas) Portion of Lots 6-8, Block 28, Miles, 1,500.00, Suit No. B-05-0192-T e. 111 E 13th Street, (Salinas), Lot 7, Block 57, Miles, $1,200.00, Suit No. B-97-0170-T f. 329 13th Street, (Salinas), Lot 2, Block 2, Pecan Place, $750.00, Suit No.TAX90-0083B g. 1916 Shelton, (Sanchez), S ½ of Lot 12, Block 3, Home Acres, $2,500.00, Suit No.B-00-0043-T 5. Consideration of adopting a Resolution allowing the City Manager or his designee to negotiate and execute a contract with the Chamber of Commerce Convention & Visitors Bureau allocating Hotel Occupancy Tax funds (submitted by Assistant City Manager/Chief Financial Officer Michael Dane) 6. Consideration of adopting a Resolution appointing election officials for the election to be held on May 11, 2013; and providing for an effective date (submitted by City Clerk Alicia Ramirez) 7. Consideration of adopting a Resolution authorizing the City Manager to execute an Interlocal Cooperation Agreement with the San Angelo Independent School District (SAISD) providing for construction by the City of recreational and park improvements, not to exceed $175,000.00, for public use on property owned by the SAISD generally known as Bradford Elementary School, to be maintained by the SAISD (submitted by Parks and Recreation Director Carl White) 8. Consideration of adopting a Resolution authorizing the City Manager to execute a first amended lease agreement amending the original lease agreement between City of San Angelo and Howard County Junior College District, including extending the original lease term and providing for additional improvements to be made on leased premises (submitted by Assistant City Manager Rick Weise) 9. Consideration of adopting a Resolution endorsing certain legislative action in the Regular Session of the 83rd Texas Legislature to enhance the competitive electric market and system reliability and to protect the traditional role of cities in the regulatory process (submitted by City Attorney Lysia H. Bowling) 10. Second Hearing and consideration of adopting an Ordinance amending Chapter 12, Exhibit “A” (Zoning Ordinance) of the Code of Ordinances, City of San Angelo (submitted Interim Director of Development Services AJ Fawver) PD 13-01: West Company/Granger Macdonald AN ORDINANCE AMENDING CHAPTER 12, EXHIBIT “A” OF THE CODE OF ORDINANCES, CITY OF SAN ANGELO, TEXAS, WHICH SAID EXHIBIT “A” OF CHAPTER 12 ADOPTS ZONING REGULATIONS, USE DISTRICTS AND A ZONING MAP, IN ACCORDANCE WITH A COMPREHENSIVE PLAN, BY CHANGING THE ZONING AND CLASSIFICATION OF THE FOLLOWING PROPERTY, TO WIT: an unaddressed 9.8 acre property out of approximately 75 acres currently described as Section 3, Arden Acres, which is located adjacent to and directly west of the intersection of Northwest Drive and Green Hill Road. The property specifically occupies a proposed Second Replat of Arden Acres, Section Three, Block 3, Tract 3 in western San Angelo, changing the zoning classification from a combination of Single-Family Residential (RS-1) and General Commercial (CH) to Planned Development (PD) District; PROVIDING FOR SEVERABILITY AND PROVIDING A PENALTY City Council Agenda Page 2 of 5 March 19, 2013
  • 3.
    11. Second Hearingand consideration of adopting an Ordinance amending Chapter 12, Exhibit “A” (Zoning Ordinance) of the Code of Ordinances, City of San Angelo (submitted Interim Director of Development Services AJ Fawver) Z 13-02: Debbie Clark AN ORDINANCE AMENDING CHAPTER 12, EXHIBIT “A” OF THE CODE OF ORDINANCES, CITY OF SAN ANGELO, TEXAS, WHICH SAID EXHIBIT “A” OF CHAPTER 12 ADOPTS ZONING REGULATIONS, USE DISTRICTS AND A ZONING MAP, IN ACCORDANCE WITH A COMPREHENSIVE PLAN, BY CHANGING THE ZONING AND CLASSIFICATION OF THE FOLLOWING PROPERTY, TO WIT: 2008 Beacon Street, located on the northeast corner of the intersection of Beacon Street and Montague Avenue. This property specifically occupies the Avondale Addition, Block 10, Lots 15-20, in central San Angelo, changing the zoning classification from a Single-Family Residential (RS-1) to a Two-Family Residential (RS-2) District; PROVIDING FOR SEVERABILITY AND PROVIDING A PENALTY 12. Second Hearing and consideration of adopting an Ordinance amending Chapter 12, Exhibit “A” (Zoning Ordinance) of the Code of Ordinances, City of San Angelo (submitted Interim Director of Development Services AJ Fawver) Z 13-03: Tom Green County AN ORDINANCE AMENDING CHAPTER 12, EXHIBIT “A” OF THE CODE OF ORDINANCES, CITY OF SAN ANGELO, TEXAS, WHICH SAID EXHIBIT “A” OF CHAPTER 12 ADOPTS ZONING REGULATIONS, USE DISTRICTS AND A ZONING MAP, IN ACCORDANCE WITH A COMPREHENSIVE PLAN, BY CHANGING THE ZONING AND CLASSIFICATION OF THE FOLLOWING PROPERTY, TO WIT: 318 North Bell Street, located on the northeast corner of the intersection of North Bell Street and Spaulding Street. This property specifically occupies the Bell Addition, Block 9, 2.35 acres in the southwest corner of Block 9, in north central San Angelo, changing the zoning classification from Single-Family Residential (RS-1) to Neighborhood Commercial (CN) District; PROVIDING FOR SEVERABILITY AND PROVIDING A PENALTY 13. Second Hearing and consideration of adopting an Ordinance amending Chapter 12, Exhibit “A” (Zoning Ordinance) of the Code of Ordinances, City of San Angelo (submitted Interim Director of Development Services AJ Fawver) Z 13-04: Abel Fernandez AN ORDINANCE AMENDING CHAPTER 12, EXHIBIT “A” OF THE CODE OF ORDINANCES, CITY OF SAN ANGELO, TEXAS, WHICH SAID EXHIBIT “A” OF CHAPTER 12 ADOPTS ZONING REGULATIONS, USE DISTRICTS AND A ZONING MAP, IN ACCORDANCE WITH A COMPREHENSIVE PLAN, BY CHANGING THE ZONING AND CLASSIFICATION OF THE FOLLOWING PROPERTY, TO WIT: 1006 East 14th Street, located approximately 170 feet from the northeast intersection at East 14th Street and Wade Street. This property specifically occupies the Exall Addition, Block 9, Lot 8 Exc. West 88.7’, in north central San Angelo, changing the zoning classification from a Single-Family Residential (RS-1) to a Neighborhood Commercial (CN) District; PROVIDING FOR SEVERABILITY AND PROVIDING A PENALTY 14. Second Hearing and consideration of adopting an Ordinance amending Chapter 12, Exhibit “A” (Zoning Ordinance) of the Code of Ordinances, City of San Angelo (submitted Interim Director of Development Services AJ Fawver) Z 13-06: City of San Angelo Development Corporation AN ORDINANCE AMENDING CHAPTER 12, EXHIBIT “A” OF THE CODE OF ORDINANCES, CITY OF SAN ANGELO, TEXAS, WHICH SAID EXHIBIT “A” OF CHAPTER 12 ADOPTS ZONING REGULATIONS, USE DISTRICTS AND A ZONING MAP, IN ACCORDANCE WITH A COMPREHENSIVE PLAN, BY CHANGING THE ZONING AND CLASSIFICATION OF THE City Council Agenda Page 3 of 5 March 19, 2013
  • 4.
    FOLLOWING PROPERTY, TOWIT: 1020, 1030, & 1040 Gateway Drive, located east of the intersection of Gateway Drive and FM 380; more specially occupying the Gateway Addition, Section 1, Block 3, Lots 1 and 2 and Tract A, in Section 1 being a 20.059 acres, in northeast San Angelo, changing the zoning classification from Light Manufacturing (ML) to Heavy Manufacturing (MH) District; PROVIDING FOR SEVERABILITY AND PROVIDING A PENALTY 15. Second Hearing and consideration of adopting an Ordinance amending Chapter 12, Exhibit “A” (Zoning Ordinance) of the Code of Ordinances, City of San Angelo (submitted Interim Director of Development Services AJ Fawver) Z 13-07: City of San Angelo Planning AN ORDINANCE AMENDING CHAPTER 12, EXHIBIT “A” OF THE CODE OF ORDINANCES, CITY OF SAN ANGELO, TEXAS, WHICH SAID EXHIBIT “A” OF CHAPTER 12 ADOPTS ZONING REGULATIONS, USE DISTRICTS AND A ZONING MAP, IN ACCORDANCE WITH A COMPREHENSIVE PLAN, BY CHANGING THE ZONING AND CLASSIFICATION OF THE FOLLOWING PROPERTY, TO WIT: An unaddressed tract of land located at the southwest end of Twin Mountain Drive. This property specifically occupies approximately 24 acres of the G. Maurer Survey 0182, Abstract 1649, west of Sections One-A and One-B of The Homestead, in southwest San Angelo, changing the zoning classification from a Planned Development (PD) to a Single Family Residential (RS-1) District; PROVIDING FOR SEVERABILITY AND PROVIDING A PENALTY 16. Second Hearing and consideration of adopting an Ordinance amending established boundaries of Single Member District 1 (submitted by City Clerk Alicia Ramirez) AN ORDINANCE OF THE CITY COUNCIL OF THE CITY OF SAN ANGELO, TEXAS AMENDING THE ESTABLISHED BOUNDARIES OF SINGLE MEMBER DISTRICT NUMBER 1 FOR THE PURPOSE OF INCORPORATING NEWLY ANNEXED AREAS INTO SAID DISTRICT, PROVIDING FOR PRECLEARANCE AND ALL OTHER NECESSARY ACTIONS; AND PROVIDING FOR AN EFFECTIVE DATE III. REGULAR AGENDA: F. EXECUTIVE/CLOSED SESSION Executive Session under the provision of Government Code, Title 5. Open Government; Ethics, Subtitle A. Open Government, Chapter 551. Open Meetings, Subchapter D. Exceptions to Requirement that Meetings be Open, Section 551.072 to deliberate the purchase, exchange, lease, or value of real property Executive Session under the provision of Government Code, Title 5. Open Government; Ethics, Subtitle A. Open Government, Chapter 551. Open Meetings, Subchapter D. Exceptions to Requirement that Meetings be Open, Section 551.087 to discuss an offer of financial or other incentive to a company or companies with whom the City of San Angelo is conducting economic development negotiations and which the City of San Angelo seeks to have, locate, stay or expand in San Angelo G. PUBLIC HEARING AND COMMENT 17. Update on the design and construction activities for the Hickory Aquifer Water Supply Project (Presentation by Interim Water Utilities Director Ricky Dickson and Hutch Musallam with Carollo Engineers) 18. First public hearing and consideration of introducing an Ordinance amending the 2012-2013 Budget for new projects, incomplete projects, capital projects and grants AN ORDINANCE OF THE CITY OF SAN ANGELO AMENDING THE BUDGET FOR THE FISCAL YEAR BEGINNING OCTOBER 1, 2012, AND ENDING SEPTEMBER 30, 2013, FOR NEW PROJECTS, INCOMPLETE PROJECTS, AND GRANTS (Presentation by Budget Analyst Steve Mahaffey) City Council Agenda Page 4 of 5 March 19, 2013
  • 5.
    19. Public hearingand consideration of adopting a Resolution authorizing the adoption of the 2013-2018 Capital Improvement Plan for the City of San Angelo (Presentation by Budget Analyst Laura Brooks) 20. Discussion of prohibiting commercial vehicles from using certain streets and parking in certain areas within the San Angelo city limits and any action in connection thereto (Presentation by City Engineer Clinton Bailey) 21. Consideration of granting a request for temporary placement of a mobile home, not to exceed one year, during construction of a permanent home on the same 3 acre site. 1105 West 48th Street, located approximately 320 feet east of the intersection of Lake Drive and West 48 Street; more specifically occupying the Chandler Subdivision, Section 1, Block 1, Lot 2, in northwest San Angelo (Presentation by Interim Director of Development Services AJ Fawver) 22. First Public Hearing and consideration of introducing an Ordinance amending the allocation method of Hotel Occupancy Tax and related matters AN ORDINANCE AMENDING THE CODE OF ORDINANCES OF THE CITY OF SAN ANGELO, TEXAS, CHAPTER 5 “BUSINESS AND COMMERCE”, ARTICLE 5.800 “HOTEL OCCUPANCY TAX”, SECTION 5.805 “PURPOSE AND DISTRIBUTION OF TAX”, BY REPEALING SAID SECTION IN ITS ENTIRETY AND ADOPTING A NEW SECTION 5.805 ENTITLED, “USE OF REVENUE”, TO REMOVE THE MANDATED ALLOCATION OF REVENUE FOR USES ON A FIXED PERCENTAGE BASIS AND TO PROVIDE FOR ALLOCATION OF REVENUE FOR USES PERMITTED BY LAW AS CITY COUNCIL MAY DETERMINE WILL PROVIDE THE BEST VALUE IN APPLICATION OF HOTEL OCCUPANCY TAX REVENUE TO THE CITIZENS OF SAN ANGELO BY RESOLUTION FROM TIME TO TIME (Presentation by Assistant City Manager/Chief Financial Officer Michael Dane) 23. Discussion and update on the housing data obtained by Hotel/Community Housing Committee Members (Requested by Councilmember Hirschfeld and presentation by City Manager Daniel Valenzuela) H. FOLLOW UP AND ADMINISTRATIVE ISSUES 24. Consideration of and possible action on matters discussed in Executive/Closed Session, if needed 25. Consideration of approving a Board nomination by Council and designated Councilmember: a. Planning Commission: Valerie Priess (Mayor) to an unexpired term January 2014 26. Consideration of nominating City Council Members to serve as representatives on the Concho Valley Council of Government General Assembly 27. Announcements and consideration of Future Agenda Items 28. Adjournment Given by order of the City Council and posted in accordance with Title 5, Texas Government Code, Chapter 551, Tuesday, March 12, 2013, at 5:00 P.M. /s/________________________ Alicia Ramirez, City Clerk City Council Agenda Page 5 of 5 March 19, 2013
  • 6.
    City of SanAngelo Memo Date: February 20, 2013 To: Mayor and Council Members From: Ron Lewis, Construction and Facilities Maintenance Subject: Agenda Item for March 19, 2013 Council Meeting Contact: Ron Lewis, 481.2773 Caption: Consent Adoption of a resolution awarding a contract for Pest Control Services between the City of San Angelo and Bug Express, and authorizing the Mayor and/or City Manager to execute said contract. The City of San Angelo posted RFB:CFM-01-13 on the COSA website and advertised twice in the San Angelo Standard Times Newspaper, and directly Summary: notified 13 vendors for Pest Control Services. Ten vendors were located in San Angelo. The bids were opened on February 1, 2013. Four vendors responded. Bug Express provided the best value for the City of San Angelo. The initial term of the contract is for three (3) years with two (2) options to extend for a period of one (1) year each. History: Construction and Facilities Maintenance and the Purchasing Department prepared RFB: CFM-01-13 for Pest Control Services. Several calls where made to current users of Bug Express. All had good reports to their service and one mentioned they were on a first name basis with their service person. They work well with scheduling and coordinating when having to gain access to large numbers of housing unit. Financial Impact: Total impact is $9,790.00 per year budgeted throughout several City department accounts. Departments paying annually will receive a 5% discount. Related Vision Item Financial Vision: Review contracted services on annual basis to ensure highest and best use of public funds. (if applicable): Other Information/ Staff recommends approval of the contract with Bug Express for Pest Control Recommendation: Services. Attachments: Resolution, Contract, RFB:CFM-01-13 Bid Tab Presentation: NA Publication: NA Reviewed by Rick Weise, Assistant City Manager Director: Approved by Legal: Adopted: 5/30/03 Revised: 6/21/10
  • 7.
    CITY OF SANANGELO BID TAB CFM-01-13 PEST CONTROL SERVICE February 1, 2013 / 2:00pm Better Choice Bug Express Jim's Pest Control Thrash Pest Control Bid Per Bid Per Bid Per Bid Per Facilities Frequency Frequency Per year Frequency Per year Frequency Per year Frequency Per year 1 City Hall Monthly $ 50.00 $ 600.00 $ 21.00 $ 252.00 $ 350.00 $ 4,200.00 $ 50.00 $ 600.00 2 Community Development Building Monthly $ 30.00 $ 360.00 $ 21.00 $ 252.00 $ 150.00 $ 1,800.00 $ 50.00 $ 600.00 3 Water Billing & Collection Monthly $ 30.00 $ 360.00 $ 17.00 $ 204.00 $ 125.00 $ 1,500.00 $ 50.00 $ 600.00 4 Santa Fe Crossing Monthly $ 30.00 $ 360.00 $ 17.00 $ 204.00 $ 225.00 $ 2,700.00 $ 50.00 $ 600.00 5 Station 618 Monthly $ 30.00 $ 360.00 $ 20.00 $ 240.00 $ 155.00 $ 1,860.00 $ 50.00 $ 600.00 6 Carl Ray Center Monthly $ 15.00 $ 180.00 $ 20.00 $ 240.00 $ 102.50 $ 1,230.00 $ 50.00 $ 600.00 7 Southside Recreation Monthly $ 15.00 $ 180.00 $ 20.00 $ 240.00 $ 175.00 $ 2,100.00 $ 50.00 $ 600.00 8 Municipal Pool Monthly $ 15.00 $ 180.00 $ 20.00 $ 240.00 $ 102.50 $ 1,230.00 $ 50.00 $ 600.00 9 Nature Center Monthly $ 15.00 $ 180.00 $ 20.00 $ 240.00 $ 102.50 $ 1,230.00 $ 50.00 $ 600.00 10 Municipal Court Monthly $ 20.00 $ 240.00 $ 20.00 $ 240.00 $ 95.00 $ 1,140.00 $ 50.00 $ 600.00 11 Wastewater Treatment Plant Quarterly $ 50.00 $ 200.00 $ 55.00 $ 220.00 $ 225.00 $ 900.00 $ 200.00 $ 800.00 12 Police Dept Monthly $ 30.00 $ 360.00 $ 30.00 $ 360.00 $ 300.00 $ 3,600.00 $ 50.00 $ 600.00 13 Training Facility Monthly $ 20.00 $ 240.00 $ 45.00 $ 540.00 $ 125.00 $ 1,500.00 $ 50.00 $ 600.00 14 Building / 505 S. Chadbourne Monthly $ 15.00 $ 180.00 $ 15.00 $ 180.00 $ 125.00 $ 1,500.00 $ 50.00 $ 600.00 15 Gun Range Quarterly $ 30.00 $ 120.00 $ 50.00 $ 200.00 $ 200.00 $ 800.00 $ 150.00 $ 600.00 16 McNease Convention Center Monthly $ 30.00 $ 360.00 $ 30.00 $ 360.00 $ 350.00 $ 4,200.00 $ 50.00 $ 600.00 17 City Auditorium Monthly $ 30.00 $ 360.00 $ 20.00 $ 240.00 $ 150.00 $ 1,800.00 $ 100.00 $ 1,200.00 18 Coliseum Monthly $ 35.00 $ 420.00 $ 40.00 $ 480.00 $ 375.00 $ 4,500.00 $ 200.00 $ 2,400.00 Every 3 weeks (17 billing 19 Animal Shelter periods) $ 35.00 $ 595.00 $ 25.00 $ 425.00 $ 155.00 $ 2,635.00 $ 100.00 $ 1,700.00 Spring & summer every Mo./Fall-Winter every Other Mo 20 Public Safety Communications (9 mos) $ 30.00 $ 270.00 $ 35.00 $ 315.00 $ 92.50 $ 832.50 $ 50.00 $ 450.00 21 Central Fire Dept Every Other Mo. $ 25.00 $ 150.00 $ 25.00 $ 150.00 $ 125.00 $ 750.00 $ 50.00 $ 300.00 22 Training Center Every Other Mo. $ 25.00 $ 150.00 $ 25.00 $ 150.00 $ 125.00 $ 750.00 $ 50.00 $ 300.00 23 Station #2 Every Other Mo. $ 25.00 $ 150.00 $ 25.00 $ 150.00 $ 125.00 $ 750.00 $ 50.00 $ 300.00 24 Station #3 Every Other Mo. $ 25.00 $ 150.00 $ 25.00 $ 150.00 $ 125.00 $ 750.00 $ 50.00 $ 300.00 25 Station #4 Every Other Mo. $ 25.00 $ 150.00 $ 25.00 $ 150.00 $ 125.00 $ 750.00 $ 50.00 $ 300.00 26 Station #5 Every Other Mo. $ 25.00 $ 150.00 $ 25.00 $ 150.00 $ 125.00 $ 750.00 $ 50.00 $ 300.00 27 Station #6 Every Other Mo. $ 25.00 $ 150.00 $ 25.00 $ 150.00 $ 125.00 $ 750.00 $ 50.00 $ 300.00 28 Station #7 Every Other Mo. $ 25.00 $ 150.00 $ 25.00 $ 150.00 $ 125.00 $ 750.00 $ 50.00 $ 300.00 29 Station #8 Every Other Mo. $ 25.00 $ 150.00 $ 25.00 $ 150.00 $ 125.00 $ 750.00 $ 50.00 $ 300.00 30 Water Distribution And Collection Monthly $ 30.00 $ 360.00 $ 22.00 $ 264.00 $ 152.50 $ 1,830.00 $ 50.00 $ 600.00 31 Cemetery Office Quarterly $ 20.00 $ 80.00 $ 35.00 $ 140.00 $ 62.50 $ 250.00 $ 50.00 $ 200.00 32 Parks Dept. Quarterly $ 20.00 $ 80.00 $ 35.00 $ 140.00 $ 125.00 $ 500.00 $ 100.00 $ 400.00 33 Santa Fe Train Museum Quarterly $ 20.00 $ 80.00 $ 30.00 $ 120.00 $ 125.00 $ 500.00 $ 50.00 $ 200.00 34 Emergency Operations Center Monthly $ 20.00 $ 240.00 $ 17.00 $ 204.00 $ 125.00 $ 1,500.00 $ 50.00 $ 600.00 35 Ralph Chase State Services Center Monthly $ 25.00 $ 300.00 $ 25.00 $ 300.00 $ 300.00 $ 3,600.00 $ 50.00 $ 600.00 36 Texas Workforce Solutions Monthly $ 25.00 $ 300.00 $ 25.00 $ 300.00 $ 225.00 $ 2,700.00 $ 50.00 $ 600.00 37 Employee Health Clinic Monthly C:Usersbryan.kendrickDesktop03-19-1302 PUR CFM-01-13Bid $ 20.00 $ 240.00 $ 22.00 $ 264.00 $ 92.50 $ 1,110.00 $ 50.00 $ 600.00
  • 8.
    CITY OF SANANGELO BID TAB CFM-01-13 PEST CONTROL SERVICE February 1, 2013 / 2:00pm Better Choice Bug Express Jim's Pest Control Thrash Pest Control 38 Airport Terminal Monthly $ 20.00 $ 240.00 $ 18.00 $ 216.00 $ 155.00 $ 1,860.00 $ 50.00 $ 600.00 Semi-Monthly 39 Control Tower (24 per year) $ 20.00 $ 480.00 $ 15.00 $ 360.00 $ 205.00 $ 4,920.00 $ 50.00 $ 1,200.00 Semi-Monthly 40 Flight Services Station (24 per year) $ 20.00 $ 480.00 $ 15.00 $ 360.00 $ 305.00 $ 7,320.00 $ 50.00 $ 1,200.00 41 Water Quality Lab Quarterly $20.00 $ 80.00 $25.00 $ 100.00 $102.50 $ 410.00 $50.00 $ 200.00 GRAND TOTAL $ 1,040.00 $ 10,415.00 $ 1,050.00 $ 9,790.00 $ 6,780.00 $ 74,507.50 $ 2,600.00 $ 25,250.00 Current number of certified pest control technicians: 2 10 2 5 none we have Annual in already placed Annual pay advance - 5% discounts in the 20% discount List any discounts available (annual pay, etc.): 10% off discount bid for annual pay Vendor Agrees to allow Piggy-Back Procurements Yes Yes Yes Yes Will you accept Credit Card Payments? Yes Yes n No If you accept Credit Card Payments, will you offer a discount? No No n/a n/a If so, how much and what are the terms? N/a n.a n/a n/a Invitation to Bids Mailed To: A&A Pest San Angelo, TX Hi-Tech Pest Defense San Angelo, TX A Ban Exterminators San Angelo, TX Orkin Pest Control Abilene, TX B Better Choice Pest Control Tom Bean, TX Terminix International San Angelo, TX Affordable Pest Control San Angelo, TX Pioneer Termite & Pest Control San Angelo, TX Bug Experts Pest Control San Angelo, TX Rex Pest Control San Angelo, TX Bug Express San Angelo, TX Rhino Pest Control Mertzon, TX Farmers Daughter Landscape San Angelo, TX C:Usersbryan.kendrickDesktop03-19-1302 PUR CFM-01-13Bid
  • 9.
    City of SanAngelo Memo Date: March 8, 2013 To: Mayor and Councilmembers From: Will Wilde, Water Utilities Director Subject: Consent Item for March 19, 2013 Council Meeting Contact: Ricky Dickson, Interim Water Utilities Director, 657-4209 Caption: Consideration of approving a residential lease renewal with David and Kerry Persely, at Lot 104, Group Shady Point, 6678 Knickerbocker Road; and authorizing the Water Utilities Director to execute the same. Summary: The leaseholder’s current lease expires in 2043 and they would like to execute a new 40 year lease for financing purposes. History: Lease fees are current and there are no issues with the lease on this tract. Financial Impact: Current lease fees: 2013-2016 $450.00 2017-2043 Market Value New lease fees: 2013-2016 $540.00 2017-2053 Market Value Related Vision Item (if applicable): None. Other Information/Recommendation: It is recommended that the lease renewal be approved and the Water Utilities Director be authorized to execute the lease. Staff recommends approval. Attachments: Lease Renewal Agreement (Persely) Presentation: None. Publication: None. Reviewed by Service Area Director: Ricky Dickson, Interim Water Utilities Director March 8, 2013
  • 10.
    LAKE NASWORTHY RESIDENTIALLOT LEASE This lease is made and entered into by and between the CITY OF SAN ANGELO, a Texas municipal corporation, ("Lessor"), whose address is 72 W. College Avenue, San Angelo, Tom Green County, Texas 76903, and David and wife, Kerry Persely, whose address is 6678 Knickerbocker Road, San Angelo, Texas 76904 ("Lessee"). I. DEMISE OF LEASED PREMISES 1.1 In consideration of the mutual covenants, conditions and agreements set forth in this lease, Lessor hereby demises and leases to Lessee, and Lessee hereby accepts and leases from Lessor, the following described real property (hereinafter called "leased premises") situated in San Angelo, Tom Green County, Texas: Lot 104, Group Shady Point, Lake Nasworthy Addition, according to the map or plat of said Lake Nasworthy Campsites in the custody of the Water Utilities Department of the City of San Angelo (also commonly known as 6678 Knickerbocker Road). II. TERM, FEES AND RENT FIXED COMMENCEMENT AND TERMINATION DATE 2.1 This lease is granted for a period of forty (40) years having an effective date beginning March 1, 2013 and ending April 30, 2053, in consideration of the initial payment of $150.00, which payment includes the granting fee, receipt of which payment is hereby acknowledged, and the further consideration of Lessee's payment of future annual rent in accordance with subsequent paragraphs hereof and Lessee's compliance with the stipulations and conditions hereinafter set forth. TIME AND MANNER OF PAYMENT 2.2 Lessee shall pay annual rent to Lessor at the San Angelo Water Utilities Department, 72 W. College Avenue, San Angelo, Texas, 76903, or at such other place as Lessor may from time to time designate by written notice to Lessee. Such rent shall be paid annually on or before July 1 during the term of this lease in accordance with the following schedule: Dates Annual Rent For the Years 2013 Through 2016 $540.00 For the Years 2017 Through 2052 * Market Value 1
  • 11.
    * Annual rentshall be the appraised market value of the leased premises multiplied by a factor of 0.08. Such appraised market value shall be determined and adjusted in accordance with applicable City ordinances in effect at the time of execution of this lease. DELINQUENT PAYMENTS 2.3 Lessee shall pay to Lessor a late charge or interest for any rent received by Lessor after the date that the rent is due in accordance with established ordinances, provided however, that this provision for late charges or interest shall not be construed as a waiver of the right of Lessor to terminate this lease at its option as authorized herein. HOLD OVER 2.4 Any holding over by Lessee of the herein leased premises after the expiration of this lease shall operate and be construed only as a tenancy from month to month, terminable at the will of Lessor. III. DEBTS RELATED TO LEASED PREMISES UTILITIES 3.1 Any utility charges shall be paid in full by Lessee when due. Failure to pay such charges may be deemed a default at the option of Lessor. TAXES 3.2 It is further understood and agreed that Lessee shall pay and discharge all taxes, general and special assessments, and other charges of every description which during the term of this lease may be levied on or assessed against the leased premises and all interest therein and all improvements and other property thereon, whether belonging to Lessor or Leaser to which either of them may become liable. Lessee shall pay all such taxes, charges, and assessments to the public officer charged with the collection thereof not less than fifteen (15) days before the same shall become delinquent, and Lessee agrees to indemnify and save harmless Lessor from all such taxes, charges and assessments. Failure to pay such taxes and special assessments as provided herein may be deemed a default at the option of Lessor. WATER, SEWAGE, PAVING IMPROVEMENTS 3.3 In the event the Lessor lays sewer and/or water lines on, adjacent to or in the vicinity of the leased premises, Lessee agrees to pay the pro rata front-foot cost of laying said line or lines as established by and in accordance with city policies then in existence. 3.4 Lessee expressly agrees that if city water or sewer lines are ever located within 200 feet of the leased premises, Lessee will tie on to such service at its own expense at the price established for that specific Lake Nasworthy area. 2
  • 12.
    3.5 In the event the Lessor institutes a paving program abutting the leased premises, Lessee shall pay his pro rata share of paving, curb and gutter costs pursuant to prevailing city policies. IV. RULES AND REGULATIONS 4.1 The rules and regulations provided in those certain ordinances of the City Council of the City of San Angelo, ("Council"), adopted April 2, 1951, and now known as the Lake Nasworthy-Twin Buttes Ordinances and any and all subsequent amendments adopted heretofore or hereafter are expressly incorporated herein by reference as terms and conditions of this lease. This lease is expressly made subject to any ordinances adopted in the future by the Council for the regulation of Lake Nasworthy and surrounding property, including but not limited to, safety, sanitation, and ecological requirements. This lease will be managed by the Water Utilities Department of the City of San Angelo subject to the approval of the Council. V. USE OF LEASED PREMISES CONSTRUCTION BY LESSEE 5.1 The premises shall be used only for a single family residence and lawful uses incidental thereto, and in this connection the following shall be applicable: a. No structure shall be constructed in excess of two stories in height. b. No dwelling or residence shall be located nearer than 75 feet to the 1,872.2 foot elevation line. c. No housetrailer, shack, tent, or temporary residence of any type shall be permitted on the leased premises, and no garage or other accessory building shall be used as a residence. d. All structures shall have a foundation that complies with Lessor's building code. e. No outside toilets shall be constructed or maintained on leased premises, and all plumbing shall be connected with a sanitary sewer or with a septic tank which complies in all respects to all state, county and city sanitation regulations and requirements. No septic tank shall be placed, constructed, or maintained nearer than 75 feet to the 1,872.2 foot elevation line nor nearer than five (5) feet to any property line. All wastewater facilities shall conform to all of the City's wastewater ordinances, where applicable. No sewer or drain shall empty into the lake or be constructed so as to flow or wash into the lake. No concrete storm drains may be constructed without the prior approval of the Water Utilities Department, Zoning Board of Adjustment, Planning Commission and/or Council, as applicable. f. No structure shall be constructed closer than five (5) feet to any property line. 3
  • 13.
    g. No treesmay be removed from the leased premises without the prior written consent of the Water Utilities Director. h. No improvements or construction work of any kind, including but not limited to, houses, boathouses, piers, pump houses, water wells, storage buildings, fences, excavations, fills, and other types of structures or improvements, shall be built or performed on leased premises without prior approval of the Water Utilities Department, Zoning Board of Adjustment, Planning Commission and/or Council, as applicable. i. Lessee agrees to comply with all provisions of the Official Code of the City of San Angelo ("Code"), as such now exists or may hereafter be amended including, but not limited to, those provisions regarding building permits and permit fees; inspections and fees therefore; building, plumbing, electrical, and fire standards or requirements; and the regulation of septic tanks. j. After any permit is granted, Lessee expressly agrees that all improvements or construction work shall be built or performed in strict compliance with the terms of the permit and approval granted, that construction shall commence within six (6) months following the date of the permit, and that all construction shall be completed within one (1) year of the date of the permit. k. Lessee may request from the Council a variance or deviation from any term or condition contained herein. l. The Council, prior to granting any extension of an existing lease or a new lease covering the leased premises shall have the right to review the leased premises and improvements thereon and submit in writing to the Lessee the requirements, if any, which shall attach to and become a part of this lease, necessary for compliance with the above-mentioned provisions of the Code. Failure of the Lessee to abide by and comply with said requirements may be deemd a default at the option of Lessor. RESERVATIONS AND EASEMENTS 5.2 Lessor, its agents or assigns, reserves the privilege and right at any time to execute and deliver valid oil, gas and other mineral leases upon the leased premises, and valid right-of-way easements for gas, oil, water, or wastewater pipelines, telephone, telegraph or electric pole transmission lines on said premises, or any part thereof, and in such event this lease shall be subject and subordinate to the rights, terms and privileges of any such oil, gas and other mineral leases or such easements as may have been executed heretofore or hereafter by Lessor, its agents or assigns. An easement across leased premises is hereby retained by Lessor for the purpose of laying sewer and water lines and/or for necessary rights-of-way for roads, alleys or other throughways. VI. ENCUMBRANCE OF LEASEHOLD ESTATE ENCUMBERING LEASEHOLD INTEREST ONLY 4
  • 14.
    6.1 Lessee shall not have the right to encumber the fee simple, but Lessee may request Lessor's written consent (pursuant to article XII of this lease) to encumber the leasehold estate, personal property or improvements made by Lessee which may be removed from the realty without injury to the realty; provided however, that no mortgagee nor anyone who claims by, through or under such mortgage or deed of trust shall, by virtue of such mortgage or deed trust, acquire any greater or more extended rights than Lessee has under this lease but such mortgage or deed of trust shall be in every respect subject, subservient and subordinate to all of the conditions, provisions, requirements, covenants and obligations of this lease. The mortgagee under any such deed of trust or mortgage shall have the right to assume this lease and perform its terms and conditions to protect itself. NOTICES TO LENDER 6.2 Any lender or mortgagee may notify Lessor in writing that a mortgage or deed of trust has been given and executed by Lessee and furnish Lessor with the address to which it desires copies of notices to be mailed. Lessor agrees to mail to lender or mortgagee or its designated agent or representative, at the address given, a copy of any notice which Lessor gives, mails, or serves on Lessee under the terms of this lease after receipt of such a notice from the lender or mortgagee. VII. CONDITION OF PREMISES NO WARRANTY 7.1 LESSOR GIVES NO WARRANTY, EXPRESS OR IMPLIED, AS TO THE CONDITION OF THE LEASED PREMISES OR ANY IMPROVEMENTS THEREON, INCLUDING WARRANTY OF HABITABILITY OR FITNESS FOR A PARTICULAR USE. AVAILABILITY AND USE OF LAKE WATER 7.2 Lessor in no way guarantees the accessibility of water to the leased premises nor the level of water in Lake Nasworthy. Lessee can use water from the lake, river, and/or wells on the premises for domestic purposes and water of existing trees and shrubs; but no water will be removed from the premises. Use of water for irrigation is expressly prohibited. Lessee shall use water in a conservative manner, and any abusive use of water shall be grounds for denying the use of water to the Lessee. Lessee shall pay the applicable water use charge as set by the Lessor, for water or raw water usage, as the case may be. VIII. REPAIRS AND MAINTENANCE LESSEE'S DUTY TO REPAIR AND MAINTAIN 5
  • 15.
    8.1 Lessee agrees to keep and maintain any and all structures erected or caused to be erected or placed on the leased premises in good and tenantable condition, to maintain its appearance, and to landscape and keep said premises cleared of all objectionable matter, things, and vegetation. Leased premises shall not be used for the outside storage of usable materials for unreasonable lengths of time. In the event Lessee shall fail to maintain leased premises in a manner acceptable to Lessor, after notice to Lessee as prescribed by city ordinance, the Lessor shall cause leased premises to be cleaned, cleared, and mowed. Lessee expressly authorizes the cost of any such clearing, cleaning, and mowing to be billed to it or added to the next annual rental payment, with interest at the rate of ten percent (10%) per annum beginning thirty (30) days from the date on which the work was completed, and continuing until such cost is paid in full. DAMAGE OR DESTRUCTION 8.2 The parties hereto acknowledge that the leased premises are within an area subject to overflow and flooding and it is expressly agreed between the parties that neither Lessor nor any of its agents or employees shall be liable to Lessee for any damages caused in any manner, negligent or otherwise, by high water or floods at Lake Nasworthy, nor by the rivers or creeks which serve as its sources of supply or diversion channels, nor by reason of any work deemed necessary in Lessor's sole judgment in the maintenance of said Lake and sources of supply or diversion channels and all damages occasioned thereby are hereby waived, and when Lessor (or any agent thereof) deems it necessary to enter on the leased premises for any of the above purposes, its judgment shall be conclusive. IX. SUSPENSION OF PRIVILEGES HEALTH MATTERS 9.1 It is expressly understood and agreed that Lessor may at any time, without notice to Lessee or any mortgagee, suspend or revoke any and all privileges granted herein for such length of time as in its sole judgment is necessary for the purpose of suppressing or arresting an epidemic of any contagious or infectious disease, or when, in its sole judgment, any suspension of privileges is necessary to protect the health of the water consumers of San Angelo, Texas. In the event privileges are suspended by Lessor, rent shall be prorated; and if the lease is revoked, Lessor shall pay Lessee an amount equal to the market value of any structures or improvements hereto made or erected on leased premises in compliance with the terms of this lease. PUBLIC PURPOSES 9.2 If Lessor shall deem that leased premises are required for any public purpose or that condemnation is necessary, Lessor shall have the right to terminate this lease by giving ninety (90) days written notice of such termination to Lessee and any mortgagee who has notified the Water Utilities Department of its lien and its address for notice purposes; and Lessee agrees to promptly deliver possession of leased premises to Lessor; and this lease shall terminate upon the expiration of ninety (90)days after the date of such notice; and in such event Lessor shall pay 6
  • 16.
    Lessee an amountequal to the market value of any structures or improvements hereto made or erected on leased premises in compliance with the terms of this lease. X. RELEASE 10.1 Lessee expressly releases Lessor, its officers, agents, and employees from any and all claims for damages of any kind by reason of the condition of the premises hereby leased, or any improvements thereon or any damages incurred in the enjoyment or exercise of the privileges granted hereunder, or for damage to its person or property caused by the opening of the gates at Nasworthy Dam, the lowering of the normal water elevation in the lake, or due to flood or high water, or any fluctuating water levels which may arise in the use and operation of Lake Nasworthy, or in the joint use and operation of Lake Nasworthy, San Angelo Reservoir, and Twin Buttes Reservoir for the purposes of recreation, irrigation, and water supply, or for any other purpose. XI. INDEMNIFICATION 11.1 LESSEE FURTHER AGREES FOR LESSEE AND LESSEE’SSUCCESORS IN INTEREST TO INDEMNIFY AND HOLD LESSOR, ITS OFFICERS, AGENTS, AND EMPLOYEES, FREE AND HARMLESS FROM ANY CLAIMS FOR DAMAGES OR INJURY, INCLUDING DEATH, TO PERSONS OR PROPERTY, OR ANY LIABILITY INCURRED AS A RESULT OF THE EXERCISE OF THE PRIVILEGES CONFERRED BY THIS LEASE, AND AGREES TO REIMBURSE LESSOR FOR ANY EXPENSES INCURRED IN THE DEFENSE OF ANY SUCH CLAIM, INCLUDING REASONABLE ATTORNEY'S FEES AND COURT COSTS ACTUALLY INCURRED. NOTHING HEREIN SHALL REQUIRE THE INDEMNIFYING PARTY TO INDEMNIFY, DEFEND OR HOLDHARMLESS ANY INDEMNIFIED PARTY FOR THE INDEMNIFIED PARTY’S OWN GROSS NEGLIGENCE OR WILLFUL MISCONDUCT. THIS INDEMNIFICATION SHALL SURVIVE THE TERM OF THIS LEASE AS LONG AS ANY LIABILITY COULD BE ASSERTED. XII. TRANSFER, ASSIGNMENT, AND SUBLETTING 12.1 Lessee may not transfer or assign the leased premises, in whole or in part, without the prior written consent of the Lessor, which consent will not be unreasonably withheld. Lessee may not sublet the leased premises, in whole or in part, without the prior written consent of the Lessor. Any such transfer, assignment or sublease shall be evidenced in writing, properly executed and acknowledged by both parties thereto; a copy shall be delivered to Lessor and the original shall be recorded in the office of the County Clerk of Tom Green County, Texas. It is agreed, however, that each such transfer, assignment or sublease shall bind the transferee, assignee or sublessee to the obligations of Lessee to Lessor as set forth in this lease and shall not release Lessee from Lessee's obligations under the lease. XIII. DEFAULT AND REMEDIES DEFAULT 7
  • 17.
    13.1 (a) Anybreach of this lease by Lessee, other than the non-payment of rent, may result in irreparable damage to Lessor for which Lessor will not have an adequate remedy at law. If Lessee should default with respect to any of its obligations hereunder except with respect to the non-payment of rent, and should fail within 60 days after written notice of such default from the Lessor to cure such default, then Lessee agrees that that Lessor shall be entitled to immediately seek relief by action or proceeding at law for damages, for specific performance and injunction, without any requirement to post a bond or other security. (b) In addition to, and independent of, the provisions of subsection (a), above, should Lessee violate any provision of this Lease, other than the non-payment of rent, and fail or refuse to cure such violation within 60 days after written notice of such default from Lessor, then Lessor or Lessor’s agents may enter the premises as reasonably necessary to perform the work required as determined by Lessor to cure the default and the costs thereof shall be deemed to be additional rent, immediately due and payable upon written notice to Lessee of the sum of expenses, costs, and fees so incurred by Lessor, including an assessment for the cost related to Lessor’s employee time in curing the default, if any. LESSEE HEREBY WAIVES ANY CLAIM FOR TRESSPASS OR DAMAGES RELATING TO LESSOR OR LESSOR’S AGENTS OR EMPLOYEES ENTRY ONTO THE LEASEHOLD PREMISES PURSUANT TO THE PROVSIONS OF THIS LEASE. (c) A breach of this lease by Lessee for non-payment of rent shall result in termination of this lease should Lessee within 60 days after written notice of default setting forth the amount past due fail to cure such default by making payment of the full amount due Lessor. POSSESSION 13.2 Lessee agrees at the termination of this lease to deliver possession peacefully to the Lessor or its agents or employees; and if it fails to give peaceful possession, Lessor may take forceful possession of said premises and eject all parties therefrom without being guilty of trespass; and all damages occasioned thereby are hereby waived. REMOVAL OF IMPROVEMENTS 13.3 All buildings and other improvements placed on the property by Lessee (except trees, shrubs, flowers and plants) which may be removed without injury to the realty shall remain the property of Lessee. It is understood and agreed, however, that buildings and improvements shall be held by the Lessor until all rentals due Lessor by Lessee shall have been paid, and should any amount remain unpaid for more than thirty (30) days after termination of this lease, the Lessor shall have the right to sell such buildings and improvements and apply the proceeds to the amount due Lessor, with interest at the annual rate of ten percent (10%), and to any costs incident to the sale, and pay the balance remaining, if any, to Lessee. All property remaining on the premises after the expiration of ninety (90) days following the termination of this lease, however terminated, shall be deemed abandoned by Lessee and shall become the property of Lessor. 8
  • 18.
    OTHER REMEDIES 13.4 (a)Any termination of this lease shall not relieve Lessee from the payment of any sum or sums that are due and payable to Lessor under the lease, or any claim for damages then or previously accruing against Lessee under this lease, and any such termination shall not prevent Lessor from enforcing the payment of any such sum or sums or claim for damages by any remedy provided for by law, or from recovering damages from Lessee for any default under the lease. All rights, options, and remedies of Lessor contained in this lease shall be construed and held to be cumulative, and no one of them shall be exclusive of the other, and Lessor shall have the right to pursue any one or all of such remedies or any other remedy or relief which may be provided by law, whether or not stated in this lease. No waiver by Lessor of a breach of any of the covenants, conditions, or restrictions of this lease shall be construed or held to be a waiver of any succeeding or preceding breach of the same or any other covenant, condition, or restriction contained in this lease. (b) The remedies provided herein shall not be exclusive of other remedies. A failure by the Lessor to take action on any past violation shall not constitute a waiver of the Lessor’s right to take action on any subsequent violation. XIV. MISCELLANEOUS RELATIONSHIP OF LESSOR AND LESSEE 14.1 The relationship between Lessor and Lessee at all times shall remain solely that of landlord and tenant and shall not be deemed a partnership or joint venture. PARTIES BOUND 14.2 This agreement shall be binding upon and inure to the benefit of the parties of the lease and their respective heirs, executors, administrators, legal representatives, successors and assigns. HEADINGS 14.3 The paragraph headings contained herein are for convenience and reference and are not intended to define, extend or limit the scope of any provisions of this lease. SUPERSEDES PRIOR AGREEMENTS 14.4 If this lease replaces another lease, all prior agreements are superseded by this lease. ENTIRE AGREEMENT/AMENDMENTS 14.5 This lease constitutes the entire agreement between the parties, and Lessor is not bound by any agreement, condition or stipulation, understanding or representation made by any of 9
  • 19.
    Lessor’s agents notcontained herein. No amendment to this lease shall be effective unless such is in writing and signed by both parties. VIOLATIONS OF LEASE 14.6 IT IS FURTHER UNDERSTOOD AND AGREED BETWEEN THE PARTIES THAT THE VIOLATION OF ANY TERM, STIPULATION, CONDITION, OR COVENANT, SHALL ENTITLE THE LESSOR, AT ITS OPTION, TO TERMINATE THIS LEASE. FAILURE TO EXERCISE SUCH OPTION AT ANY TIME SHALL NEVER BE CONSTRUED AS A WAIVER OF ANY CONDITION OF THIS LEASE. TEXAS LAW TO APPLY 14.7 The parties hereby agree that Texas law will control the interpretation or enforcement of this lease. This lease has been executed in Texas, and all obligations hereunder are performable in Tom Green County, Texas. INVALID OR ILLEGAL PROVISIONS 14.8 If any provision of this lease is held invalid as to any person or set of circumstances, such holding shall not affect the validity of any remaining provision of this lease or any provision’s application to other persons not similarly situated or to other circumstances. REIMBURSEMENT OF LESSOR’S EXPENSES 14.9 Lessee shall pay on demand all of Lessor’s expenses including, but not limited to, attorney’s fees and court costs incurred in enforcing any of Lessee’s obligations under this lease, which include, but are not limited to, collection of rental fees and collection of utility payments, taxes and other legitimate assessments. NOTICES 14.9 All notices concerning this lease shall be in writing and delivered to the parties at the addresses below: LESSEE: David and Kerry Persely 6678 Knickerbocker Road San Angelo, Texas 76904 LESSOR: City of San Angelo Attn: Water Utilities Director 72 W. College Avenue San Angelo, Texas 76903 [SIGNATURE PAGE TO FOLLOW] 10
  • 20.
    EXECUTED in duplicateoriginals on the _____day of _____________________, 2013 by: LESSEE David Persely Kerry Persely STATE OF TEXAS § COUNTY OF TOM GREEN § This instrument was acknowledged before me on the _____day of ________________, 2013 by David and Kerry Persely. Notary Public, State of Texas CITY OF SAN ANGELO, LESSOR BY: RICKY DICKSON Water Utilities Department STATE OF TEXAS § COUNTY OF TOM GREEN § This instrument was acknowledged before me on the _____day of ________________, 2012, by Ricky Dickson, Interim Director of Water Utilities of the City of San Angelo, a Texas home rule municipal corporation, on behalf of said corporation. Notary Public, State of Texas 11
  • 21.
    City of SanAngelo Memo Date: March 4, 2013 To: Mayor and Councilmembers From: Cindy M. Preas, Real Estate Administrator (657-4407) Subject: Agenda Item for March 19, 2013 Council Meeting Contact: Diana Farris, Property Specialist (657-4407) Caption: Consent Item Consideration of adopting a Resolution of the City of San Angelo authorizing the mayor to execute a tax-resale (quitclaim) deed conveying all right, title and interest of the City of San Angelo, and all other taxing units interested in the tax foreclosure judgment: 1944 & 1948 Magnolia Street, (Gonzalez), Lots 1 & 2, Block 2, Avondale, $1,000, Suit No.B99-0081-T 207 E Avenue L, (Perez), E 50’ x 238’ of a 1 acre Tract, Fisher Miller, $750, Suit No.TAX89-0388B 725 Hughes Street, (Salinas), Lot 9, Block 2, Culwell, $950, Suit No. B-03-0087-T 816 Volney, (Salinas) Portion of Lots 6-8, Block 28, Miles, 1,500, Suit No. B-05-0192-T 111 E 13th Street, (Salinas), Lot 7, Block 57, Miles, ($1,200) Suit No. B-97-0170-T th 329 13 Street, (Salinas), Lot 2, Block 2, Pecan Place, $750, Suit No.TAX90-0083B 1916 Shelton, (Sanchez), S ½ of Lot 12, Block 3, Home Acres, $2,500, Suit No.B-00- 0043-T Summary: The subject properties were auctioned at Sheriff’s Sale. No offers were received causing subject properties to be stuck-off to the City, as Trustee for itself and the other taxing entities. History: The attached Property Analysis reflects amounts of delinquent taxes, accrued penalties, interest, attorney fees and costs for delinquent years of, together with additional penalties and interest at the rates prescribed by Chapter 33, Texas Property Tax Code. Financial Impact: Upon approval: (1) The City will retain a $500 Administration fee; (2) The balance will be distributed according to the judgment on the Sheriff’s Return; and (3) Property will be reinstated back onto tax roll. Related Vision Item Financial Vision – Examine liquidation of unused or underperforming city-owned properties (if applicable): Neighborhood Vision – Attract reinvestment Other Information/ Staff recommends approval. Recommendation: Attachments: Property Analysis, Resolution, Tax-Resale Deed and Property Location Map Adopted: 5/30/03 Revised: 6/21/10
  • 22.
    Presentation: N/A Publication: N/A Reviewed by Lysia H. Bowling, City Attorney Director: Approved by Legal:
  • 23.
    A RESOLUTION OFTHE CITY OF SAN ANGELO AUTHORIZING THE MAYOR TO EXECUTE A TAX-RESALE (QUITCLAIM) DEED CONVEYING ALL RIGHT, TITLE AND INTEREST OF THE CITY OF SAN ANGELO, AND ALL OTHER TAXING UNITS INTERESTED IN THE TAX FORECLOSURE JUDGMENT WHEREAS, by Sheriff’s Sale, the properties described below were struck-off to the City of San Angelo, Trustee, pursuant to delinquent tax foreclosure decrees of the 119th and 340th Judicial Districts, Tom Green County, Texas; and WHEREAS, offers have been made for the purchase of said properties pursuant to Section 34.05, Texas Tax Code Ann.(Vernon, 1982); and NOW THEREFORE BE IT RESOLVED BY THE CITY COUNCIL OF THE CITY OF SAN ANGELO that its Mayor, Alvin New, is hereby authorized to execute a Tax-Resale (quitclaim) Deed conveying the following described real properties to the following as specified below, all of the right, title, and interest of the City of San Angelo, and all other taxing units interested in the tax foreclosure judgment, located in San Angelo, Tom Green County, Texas: Conveying to: CARLOS GONZALEZ, a single person; ($1,000): Lots 1 & 2, Block 2, Avondale Addition, City of San Angelo, Tom Green County, Texas, according to the map or plat thereof, recorded in Volume 1, Page 86, Plat Records of Tom Green County, Texas. Account #02-12400-0002-001-00 #02-12400-0002-002-00 GILBERT PEREZ, JR., a single person; ($750): The East 50’ x 238’ of a 1.00 acre Tract described in Volume 39, Page 621, Deed Records, said East 50’ being described in Volume 361, Page 196, Deed of Tom Green County, Texas. Account #38-00205-0013-000-00 RICHARD SALINAS, a married person as his sole and separate property; ($1,200): Lot 9, Block 2, Culwell Addition, City of San Angelo, Tom Green County, Texas, as described in deed recorded in Volume 648, Page 622, Deed Records of Tom Green County, Texas. Account #07-19800-0002-008-00 RICHARD SALINAS, a married person as his sole and separate property; ($1,200): Lot 7, Block 57, Miles Addition to the City of San Angelo, Tom Green County, Texas, as described in Volume 85, Page 576, Deed Records, Tom Green County, Texas. Account #19-34200-0057-007-00
  • 24.
    RICHARD SALINAS, amarried person as his sole and separate property; ($1,500): A portion of Lots 6, 7 and 8, Block 28, Miles Addition, an addition to the City of San Angelo, Tom Green County, Texas, as described in deed dated March 20, 1974 from Donald Nelson Holley, et ux. To George Jones, Sr., et ux., in Volume 611, Page 583, Deed Records of Tom Green County, Texas. Account #18-34200-0028-009-00 RICHARD SALINAS, a married person as his sole and separate property; ($750): Lot 2, Block 2, Pecan Place, being more particularly described in Volume 251, Page 235, Deed Records of Tom Green, Texas. Account #21-38600-0002-002-00 MARIA ROSA SANCHEZ, a single person, and LILLIANA SANCHEZ, a single person; ($2,500): The South one-half of Lot 12, Block 3, Home Acres Addition, City of San Angelo, Tom Green County, Texas, as described in Volume 288, Page 55, Deed Records of Tom Green County, Texas. Account #15-28100-0003-029-00 APPROVED AND ADOPTED ON THE DAY OF , 2013. THE CITY OF SAN ANGELO _______________________________ Alvin New, Mayor Attest: ______________________________ Alicia Ramirez, City Clerk Approved As to Content: Approved As to Form: ______________________________ ______________________________ Cindy M. Preas, Real Estate Administrator Lysia H. Bowling, City Attorney
  • 26.
    PROPERTY ANALYSIS For Tax Resale Property Legal Description: Lots 1 & 2, Block 2, Avondale Addition, City of San Angelo, Tom Green County, Texas, according to the map or plat thereof, recorded in Volume 1, Page 86, Plat Records of Tom Green County, Texas. Improved/Unimproved Unimproved Tax Suit Number: B99-0081-T Location: 1944 & 1948 Magnolia Street Parcel Size/Dimensions: 50' x 130' City of San Angelo vs. J.F. Kite, Addie Kite, Mrs. N.E. Hicks Account #1391 Tax ID Number: #02-12400-0002-001-00 #02-12400-0002-002-00 Tax Warrant Date: October 26, 1999 Date of Sheriff's Sale: December 7, 1999 Sheriff's Deed Recorded: January 6, 2000 Years Held in Trust 13 YRS Adjudge Value: $ 1,800.00 Purchased under Urban Redevelopment No Amount of Offer: $ 1,000.00 Amounts Due Priority % of Pro Rata Amounts Fees Judgment Allocations Remainder Allocations Distributed Administration Fee $500.00 $500.00 0.00% $500.00 Maintenance Fee $ 1,820.00 100.00% $ 500.00 $ 500.00 District Clerk $ - 0.00% $ - Sheriff's Fee $ - 0.00% $ - Attorney Fee $ - 0.00% $ - Municipal Liens $ - $0.00 0.00% $0.00 $0.00 Taxes $ - $0.00 0.00% $0.00 $0.00 Total $2,320.00 $ - $500.00 100.00% $ 500.00 $1,000.00 Actual Total Amt Due $2,320.00 Amount Remaining $ 500.00 All costs according to the Tax Warrant have been perviously paid. Offer will satisfy a portion of the Maintenance costs.
  • 27.
    NOTICE OF CONFIDENTIALITYRIGHTS: If you are a natural person, you may remove or strike any or all of the following information from this instrument before it is filed for record in the public records: your social security number or your driver’s license number. Tax-Resale Deed (Property Sold for Less than Adjudged Value) Date: __________________________ Grantor: The City of San Angelo, a Texas home-rule municipal corporation, for itself and as Trustee for itself, Tom Green County, and San Angelo Independent School District 72 West College Avenue San Angelo, Tom Green County, Texas 76903 Grantee: CARLOS GONZALEZ, a single person 725 Amberton Parkway San Angelo, Tom Green County, Texas 76901 Consideration: Ten and No/100 Dollars ($10.00) and other good and valuable consideration Property (including any improvements): Lots 1 & 2, Block 2, Avondale Addition, City of San Angelo, Tom Green County, Texas, according to the map or plat thereof, recorded in Volume 1, Page 86, Plat Records of Tom Green County, Texas. Account #02-12400-0002-001-00 #02-12400-0002-002-00 Tax Warrant: Tax Warrant for the foreclosure of a tax lien against the Property entered on October 26, 1999 in Suit No. B-99-0081-T by the 340th District Court of Tom Green County, Texas. Sheriff’s Deed: Grantor acquired full legal title to the Property — both for its own benefit and as Trustee for all other taxing authorities entitled to receive proceeds from the sale of the Property under the terms of the Tax Warrant — by Sheriff’s Deed dated January 5, 2000, and recorded in Volume 751, Page 622, Official Public Records of Real Property, Tom Green County, Texas. For the Consideration, Grantor — acting by and through its Mayor, who has been duly authorized to execute this instrument on Grantor’s behalf by resolution and order of Grantor’s City Council recorded in the City Council’s official minutes — hereby quitclaims to Grantee all of Grantor's right, title, and interest in and to the Property, to have and to hold it to Grantee and Grantee's heirs, successors, and assigns forever. Neither Grantor, nor any other taxing unit interested in the Tax Warrant, nor any other person or entity claiming under them, will have, claim, or demand any right or title to the Property or any part of it. Grantor gives this Tax- Resale Deed without any express or implied warranty whatsoever; and all warranties that might arise by common law and the warranties in § 5.023 of the Texas Property Code (or its successor) are hereby specifically excluded. Grantee's rights under this deed are subject to the provisions of Chapter 34 of the Texas Tax Code, including, without limitation, any right of redemption remaining in the former owner of the Property; the terms of any recorded restrictive covenants running with the land that were recorded before January 1 of the year in
  • 28.
    which the taxlien on the property arose; any recorded lien that arose under such restrictive covenants that was not extinguished in the judgment foreclosing the tax lien; and each valid easement of record as of the date of the sale that was recorded before January 1 of the year the tax lien arose. Grantor is selling the Property to Grantee for an amount that is less than the lesser of (1) the market value specified in the Judgment, or (2) the total amount of the Judgment. Grantee assumes full payment of any ad valorem taxes for the Property for the current year and all future years. When the context requires, singular nouns and pronouns include the plural. GRANTOR: The City of San Angelo, a Texas home-rule municipal corporation, for itself and as Trustee for any taxing authorities named in the Judgment ATTEST: By: ____________________________ Alvin New, Mayor and duly-authorized agent Alicia Ramirez, City Clerk STATE OF TEXAS § § COUNTY OF TOM GREEN § This instrument was acknowledged before me on _____________________, 2013, by Alvin New, Mayor and duly-authorized agent of the City of San Angelo, a Texas home-rule municipal corporation, on behalf of such corporation and as Trustee for any taxing authorities named in the Judgment identified in the above instrument. __________________________________ Notary Public, State of Texas After Recording, Return To:
  • 29.
    E 50' x238' of a 1 acre tract, Fisher & Miller Addition 207 E Avenue L 50' x 238' Copyright 2011 Esri. All rights reserved. Tue Dec 20 2011 04:46:45 PM.
  • 31.
    PROPERTY ANALYSIS For Tax Resale Property Legal Description: The East 50’ x 238’ of a 1.00 acre Tract out of Fisher & Miller, described in Volume 39, Page 621, Deed Records, said East 50’ being described in Volume 361, Page 196, Deed of Tom Green County, Texas. Improved/Unimproved Unimproved Tax Suit Number: TAX89-0388b Location: 207 E Avenue L Parcel Size/Dimensions: 50' x 238' City of San Angelo vs. Balente Martinez a/k/a Valente Martinez Account #1448 Tax ID Number: #38-00205-0013-000-00 Judgment Date: October 14, 1992 Date of Sheriff's Sale: August 1, 1995 Sheriff's Deed Recorded: October 25, 1995 Years Held in Trust 18 YRS Adjudge Value: $ 4,375.00 Purchased under Urban Redevelopment No Amount of Offer: $ 750.00 Amounts Due Priority % of Pro Rata Amounts Fees Judgment Allocations Remainder Allocations Distributed Administration Fee $500.00 $500.00 0.00% $500.00 Maintenance Fee 0.00% $ - District Clerk $ 131.00 21.84% $ 54.59 $ 54.59 Sheriff's Fee $ 156.93 26.16% $ 65.40 $ 65.40 Attorney Fee $ 311.98 52.00% $ 130.01 $ 130.01 Municipal Liens $ - $0.00 0.00% $0.00 $0.00 Taxes $ - $3,775.09 0.00% $0.00 $0.00 Total $500.00 $3,775.09 $500.00 100.00% $ 250.00 $750.00 Actual Total Amt Due $4,275.09 $ 599.91 Amount Remaining $ 250.00 Offer will satisfy all costs according to the Judgment.
  • 32.
    NOTICE OF CONFIDENTIALITYRIGHTS: If you are a natural person, you may remove or strike any or all of the following information from this instrument before it is filed for record in the public records: your social security number or your driver’s license number. Tax-Resale Deed (Property Sold for Less than Adjudged Value) Date: __________________________ Grantor: The City of San Angelo, a Texas home-rule municipal corporation, for itself and as Trustee for itself, Tom Green County, and San Angelo Independent School District 72 West College Avenue San Angelo, Tom Green County, Texas 76903 Grantee: GILBERT PEREZ, JR, a single person 712 Era Street San Angelo, Tom Green County, Texas 76905 Consideration: Ten and No/100 Dollars ($10.00) and other good and valuable consideration Property (including any improvements): The East 50’ x 238’ of a 1.00 acre Tract described in Volume 39, Page 621, Deed Records, said East 50’ being described in Volume 361, Page 196, Deed of Tom Green County, Texas. Account #38-00205-0013-000-00 Judgment: Judgment for the foreclosure of a tax lien against the Property entered on October 14, 1992 in Suit No. TAX89-0388-B by the 119th District Court of Tom Green County, Texas. Sheriff’s Deed: Grantor acquired full legal title to the Property — both for its own benefit and as Trustee for all other taxing authorities entitled to receive proceeds from the sale of the Property under the terms of the Judgment — by Sheriff’s Deed dated September 20, 1995, and recorded in Volume 502, Page 55, Official Public Records of Real Property, Tom Green County, Texas. For the Consideration, Grantor — acting by and through its Mayor, who has been duly authorized to execute this instrument on Grantor’s behalf by resolution and order of Grantor’s City Council recorded in the City Council’s official minutes — hereby quitclaims to Grantee all of Grantor's right, title, and interest in and to the Property, to have and to hold it to Grantee and Grantee's heirs, successors, and assigns forever. Neither Grantor, nor any other taxing unit interested in the Judgment, nor any other person or entity claiming under them, will have, claim, or demand any right or title to the Property or any part of it. Grantor gives this Tax- Resale Deed without any express or implied warranty whatsoever; and all warranties that might arise by common law and the warranties in § 5.023 of the Texas Property Code (or its successor) are hereby specifically excluded. Grantee's rights under this deed are subject to the provisions of Chapter 34 of the Texas Tax Code, including, without limitation, any right of redemption remaining in the former owner of the Property; the terms of any recorded restrictive covenants running with the land that were recorded before January 1 of the year in which the tax lien on the property arose; any recorded lien that arose under such restrictive covenants that was
  • 33.
    not extinguished inthe judgment foreclosing the tax lien; and each valid easement of record as of the date of the sale that was recorded before January 1 of the year the tax lien arose. Grantor is selling the Property to Grantee for an amount that is less than the lesser of (1) the market value specified in the Judgment, or (2) the total amount of the Judgment. Grantee assumes full payment of any ad valorem taxes for the Property for the current year and all future years. When the context requires, singular nouns and pronouns include the plural. GRANTOR: The City of San Angelo, a Texas home-rule municipal corporation, for itself and as Trustee for any taxing authorities named in the Judgment ATTEST: By: ____________________________ Alvin New, Mayor and duly-authorized agent Alicia Ramirez, City Clerk STATE OF TEXAS § § COUNTY OF TOM GREEN § This instrument was acknowledged before me on _____________________, 2013, by Alvin New, Mayor and duly-authorized agent of the City of San Angelo, a Texas home-rule municipal corporation, on behalf of such corporation and as Trustee for any taxing authorities named in the Judgment identified in the above instrument. __________________________________ Notary Public, State of Texas After Recording, Return To:
  • 34.
    725 Hughes Street,Lot 9, Block 2, Culwell Addition 60' x 115' March 5, 2013 1:1,349 0 0.01 0.02 0.04 mi Zip Codes 0 0.0175 0.035 0.07 km City Address Points Copyright:© 2013 ESRI, NAVTEQ, DeLorme Pending City Addresses
  • 35.
    PROPERTY ANALYSIS For Tax Resale Property Legal Description: Lot 9, Block 2, Culwell Addition, City of San Angelo, Tom Green County, Texas, as described in deed recorded in Volume 648, Page 622, Deed Records of Tom Green County, Texas. Improved/Unimproved Unimproved Tax Suit Number: B-03-0087-T Location: 725 Hughes Street Parcel Size/Dimensions: 52' x 86' City of San Angelo vs. John D. Northcutt Account #6883 Tax ID Number: #07-19800-0002-008-00 Judgment Date: January 18, 2005 Date of Sheriff's Sale: April 4, 2006 Sheriff's Deed Recorded: April 11, 2006 Years Held in Trust 7 YRS Adjudge Value: $ 2,100.00 Purchased under Urban Redevelopment No Amount of Offer: $ 1,200.00 Amounts Due Priority % of Pro Rata Amounts Fees Judgment Allocations Remainder Allocations Distributed Administration Fee $500.00 $500.00 0.00% $500.00 Maintenance Fee $ 980.00 0.00% $ - District Clerk $236.00 $236.00 0.00% $236.00 Sheriff's Fee $100.00 $100.00 0.00% $100.00 Attorney Fee $332.00 $332.00 0.00% $332.00 Municipal Liens $0.00 0.00% $0.00 $0.00 Taxes $1,778.00 100.00% $32.00 $32.00 Total $2,148.00 $ 1,778.00 $1,168.00 100.00% $ 32.00 $1,200.00 Actual Total Amt Due $3,926.00 Amount Remaining $ 32.00 Offer will satisfy all court costs and a small portion of the Taxes.
  • 36.
    NOTICE OF CONFIDENTIALITYRIGHTS: If you are a natural person, you may remove or strike any or all of the following information from this instrument before it is filed for record in the public records: your social security number or your driver’s license number. Tax-Resale Deed (Property Sold for Less than Adjudged Value) Date: __________________________ Grantor: The City of San Angelo, a Texas home-rule municipal corporation, for itself and as Trustee for itself, Tom Green County, and San Angelo Independent School District 72 West College Avenue San Angelo, Tom Green County, Texas 76903 Grantee: RICHARD SALINAS, a married person as his sole and separate property 2107 Greenwood San Angelo, Tom Green County, Texas 76901 Consideration: Ten and No/100 Dollars ($10.00) and other good and valuable consideration Property (including any improvements): Lot 9, Block 2, Culwell Addition, City of San Angelo, Tom Green County, Texas, as described in deed recorded in Volume 648, Page 622, Deed Records of Tom Green County, Texas. Account #07-19800-0002-008-00 Judgment: Judgment for the foreclosure of a tax lien against the Property entered on January 18, 2005 in Suit No. B-03-0087-T by the 119th District Court of Tom Green County, Texas. Sheriff’s Deed: Grantor acquired full legal title to the Property — both for its own benefit and as Trustee for all other taxing authorities entitled to receive proceeds from the sale of the Property under the terms of the Judgment — by Sheriff’s Deed dated April 11, 2006, and recorded in Instrument Number 609008, Official Public Records of Real Property, Tom Green County, Texas. For the Consideration, Grantor — acting by and through its Mayor, who has been duly authorized to execute this instrument on Grantor’s behalf by resolution and order of Grantor’s City Council recorded in the City Council’s official minutes — hereby quitclaims to Grantee all of Grantor's right, title, and interest in and to the Property, to have and to hold it to Grantee and Grantee's heirs, successors, and assigns forever. Neither Grantor, nor any other taxing unit interested in the Judgment, nor any other person or entity claiming under them, will have, claim, or demand any right or title to the Property or any part of it. Grantor gives this Tax- Resale Deed without any express or implied warranty whatsoever; and all warranties that might arise by common law and the warranties in § 5.023 of the Texas Property Code (or its successor) are hereby specifically excluded. Grantee's rights under this deed are subject to the provisions of Chapter 34 of the Texas Tax Code, including, without limitation, any right of redemption remaining in the former owner of the Property; the terms of any recorded restrictive covenants running with the land that were recorded before January 1 of the year in
  • 37.
    which the taxlien on the property arose; any recorded lien that arose under such restrictive covenants that was not extinguished in the judgment foreclosing the tax lien; and each valid easement of record as of the date of the sale that was recorded before January 1 of the year the tax lien arose. Grantor is selling the Property to Grantee for an amount that is less than the lesser of (1) the market value specified in the Judgment, or (2) the total amount of the Judgment. Grantee assumes full payment of any ad valorem taxes for the Property for the current year and all future years. When the context requires, singular nouns and pronouns include the plural. GRANTOR: The City of San Angelo, a Texas home-rule municipal corporation, for itself and as Trustee for any taxing authorities named in the Judgment ATTEST: By: ____________________________ Alvin New, Mayor and duly-authorized agent Alicia Ramirez, City Clerk STATE OF TEXAS § § COUNTY OF TOM GREEN § This instrument was acknowledged before me on _____________________, 2013, by Alvin New, Mayor and duly-authorized agent of the City of San Angelo, a Texas home-rule municipal corporation, on behalf of such corporation and as Trustee for any taxing authorities named in the Judgment identified in the above instrument. __________________________________ Notary Public, State of Texas After Recording, Return To:
  • 38.
    816 Volney Street,A Portion of Lots 6,7 & 8 , Block 28, Miles Addition 40' x 120' March 5, 2013 1:2,699 0 0.0225 0.045 0.09 mi City Address Points County Address Points Parcels Abandonments Approved 0 0.035 0.07 0.14 km Pending City Addresses Pending County Addresses Platted Lot Line Labels Abandonments Denied Copyright:© 2013 ESRI, NAVTEQ, DeLorme Retired City Addresses Retired County Addresses Platted Lot Lines Abandonments Expired
  • 39.
    PROPERTY ANALYSIS For Tax Resale Property Legal Description: A portion of Lots 6, 7 and 8, Block 28, Miles Addition, an addition to the City of San Angelo, Tom Green County, Texas, as described in deed dated March 20, 1974 from Donald Nelson Holley, et ux. to George Jones, Sr., et ux., in Volume 611, Page 583, Deed Records of Tom Green County, Texas. Improved/Unimproved Unimproved Tax Suit Number: B-05-0192-T Location: 816 Volney Street Parcel Size/Dimensions: 40' x 120' City of San Angelo vs. Joseph Jones Acct-Unknown Lula B. Jones Acct #3835 Sylvia A. Jenkins Acct #1365 Tax ID Number: #18-34200-0028-009-00 Judgment Date: August 7, 2009 Date of Sheriff's Sale: November 3, 2009 Sheriff's Deed Recorded: November 23, 2009 Years Held in Trust 4 YRS Adjudge Value: $ 3,000.00 Purchased under Urban Redevelopment No Amount of Offer: $ 1,900.00 Amounts Due Priority % of Pro Rata Amounts Fees Judgment Allocations Remainder Allocations Distributed Administration Fee $500.00 $500.00 0.00% $500.00 Maintenance Fee $ 560.00 $0.00 100.00% $ 402.00 $ 402.00 District Clerk $ 533.00 $ 533.00 0.00% $533.00 Sheriff's Fee $ 100.00 $ 100.00 0.00% $100.00 Attorney Fee $ 365.00 $ 365.00 0.00% $365.00 Municipal Liens $981.22 0.00% $0.00 $0.00 Taxes $6,101.42 0.00% $0.00 $0.00 Total $1,060.00 $ 8,080.64 $1,498.00 100.00% $ 402.00 $1,900.00 Actual Total Amt Due $9,140.64 Amount Remaining $ 402.00 Offer will satisfy all court cost according to the Judgment.
  • 40.
    NOTICE OF CONFIDENTIALITYRIGHTS: If you are a natural person, you may remove or strike any or all of the following information from this instrument before it is filed for record in the public records: your social security number or your driver’s license number. Tax-Resale Deed (Property Sold for Less than Adjudged Value) Date: __________________________ Grantor: The City of San Angelo, a Texas home-rule municipal corporation, for itself and as Trustee for itself, Tom Green County, and San Angelo Independent School District 72 West College Avenue San Angelo, Tom Green County, Texas 76903 Grantee: RICHARD SALINAS, a married person as his sole and separate property 2107 Greenwood San Angelo, Tom Green County, Texas 76901 Consideration: Ten and No/100 Dollars ($10.00) and other good and valuable consideration Property (including any improvements): A portion of Lots 6, 7 and 8, Block 28, Miles Addition, an addition to the City of San Angelo, Tom Green County, Texas, as described in deed dated March 20, 1974 from Donald Nelson Holley, et ux. To George Jones, Sr., et ux., in Volume 611, Page 583, Deed Records of Tom Green County, Texas. Account #18-34200-0028-009-00 Judgment: Judgment for the foreclosure of a tax lien against the Property entered on August 7, 2009 in Suit No. B-05-0192-T by the 119th District Court of Tom Green County, Texas. Sheriff’s Deed: Grantor acquired full legal title to the Property — both for its own benefit and as Trustee for all other taxing authorities entitled to receive proceeds from the sale of the Property under the terms of the Judgment — by Sheriff’s Deed dated November 20, 2009, and recorded in Instrument Number 678726, Official Public Records of Real Property, Tom Green County, Texas. For the Consideration, Grantor — acting by and through its Mayor, who has been duly authorized to execute this instrument on Grantor’s behalf by resolution and order of Grantor’s City Council recorded in the City Council’s official minutes — hereby quitclaims to Grantee all of Grantor's right, title, and interest in and to the Property, to have and to hold it to Grantee and Grantee's heirs, successors, and assigns forever. Neither Grantor, nor any other taxing unit interested in the Judgment, nor any other person or entity claiming under them, will have, claim, or demand any right or title to the Property or any part of it. Grantor gives this Tax- Resale Deed without any express or implied warranty whatsoever; and all warranties that might arise by common law and the warranties in § 5.023 of the Texas Property Code (or its successor) are hereby specifically excluded. Grantee's rights under this deed are subject to the provisions of Chapter 34 of the Texas Tax Code, including, without limitation, any right of redemption remaining in the former owner of the Property; the terms
  • 41.
    of any recordedrestrictive covenants running with the land that were recorded before January 1 of the year in which the tax lien on the property arose; any recorded lien that arose under such restrictive covenants that was not extinguished in the judgment foreclosing the tax lien; and each valid easement of record as of the date of the sale that was recorded before January 1 of the year the tax lien arose. Grantor is selling the Property to Grantee for an amount that is less than the lesser of (1) the market value specified in the Judgment, or (2) the total amount of the Judgment. Grantee assumes full payment of any ad valorem taxes for the Property for the current year and all future years. When the context requires, singular nouns and pronouns include the plural. GRANTOR: The City of San Angelo, a Texas home-rule municipal corporation, for itself and as Trustee for any taxing authorities named in the Judgment ATTEST: By: ____________________________ Alvin New, Mayor and duly-authorized agent Alicia Ramirez, City Clerk STATE OF TEXAS § § COUNTY OF TOM GREEN § This instrument was acknowledged before me on _____________________, 2013, by Alvin New, Mayor and duly-authorized agent of the City of San Angelo, a Texas home-rule municipal corporation, on behalf of such corporation and as Trustee for any taxing authorities named in the Judgment identified in the above instrument. __________________________________ Notary Public, State of Texas After Recording, Return To:
  • 42.
    111 E 13thStreet, Lot 7, Block 57, Miles Addition 50' x 100' March 5, 2013 1:1,349 0 0.01 0.02 0.04 mi Zip Codes 0 0.0175 0.035 0.07 km City Address Points Copyright:© 2013 ESRI, NAVTEQ, DeLorme Pending City Addresses
  • 43.
    PROPERTY ANALYSIS For Tax Resale Property Legal Description: Lot 7, Block 57, Miles Addition to the City of San Angelo, Tom Green County, Texas, as described in Volume 85, Page 576, Deed Records, Tom Green County, Texas. Improved/Unimproved Unimproved Tax Suit Number: B-97-0170-T Location: 111 E 13th Street Parcel Size/Dimensions: 50' x 100' City of San Angelo vs. Frank B. Snodgrass, Jr. Account #1692 Tax ID Number: #19-34200-0057-007-00 Judgment Date: July 7, 1999 Date of Sheriff's Sale: March 5, 2002 Sheriff's Deed Recorded: March 25, 2002 Years Held in Trust 11 YRS Adjudge Value: $ 3,000.00 Purchased under Urban Redevelopment No Amount of Offer: $ 1,200.00 Amounts Due Priority % of Pro Rata Amounts Fees Judgment Allocations Remainder Allocations Distributed Administration Fee $500.00 $500.00 0.00% $500.00 Maintenance Fee $ 1,540.00 $0.00 100.00% $ 317.00 $ 317.00 District Clerk $ 103.00 $ 103.00 0.00% $103.00 Sheriff's Fee $ 40.00 $ 40.00 0.00% $40.00 Attorney Fee $ 240.00 $ 240.00 0.00% $240.00 Municipal Liens $0.00 0.00% $0.00 $0.00 Taxes $3,298.48 0.00% $0.00 $0.00 Total $2,040.00 $ 3,681.48 $883.00 100.00% $ 317.00 $1,200.00 Actual Total Amt Due $5,721.48 Amount Remaining $ 317.00 Offer will satisfy all court cost according to the Judgment.
  • 44.
    NOTICE OF CONFIDENTIALITYRIGHTS: If you are a natural person, you may remove or strike any or all of the following information from this instrument before it is filed for record in the public records: your social security number or your driver’s license number. Tax-Resale Deed (Property Sold for Less than Adjudged Value) Date: __________________________ Grantor: The City of San Angelo, a Texas home-rule municipal corporation, for itself and as Trustee for itself, Tom Green County, and San Angelo Independent School District 72 West College Avenue San Angelo, Tom Green County, Texas 76903 Grantee: RICHARD SALINAS, a married person as his sole and separate property 2107 Greenwood San Angelo, Tom Green County, Texas 76901 Consideration: Ten and No/100 Dollars ($10.00) and other good and valuable consideration Property (including any improvements): Lot 7, Block 57, Miles Addition to the City of San Angelo, Tom Green County, Texas, as described in Volume 85, Page 576, Deed Records, Tom Green County, Texas. Account #19-34200-0057-007-00 Judgment: Judgment for the foreclosure of a tax lien against the Property entered on July 7, 1999 in Suit No. B-97-0170-T by the 119th District Court of Tom Green County, Texas. Sheriff’s Deed: Grantor acquired full legal title to the Property — both for its own benefit and as Trustee for all other taxing authorities entitled to receive proceeds from the sale of the Property under the terms of the Judgment — by Sheriff’s Deed dated March 25, 2002, and recorded in Volume 902, Page 534, Official Public Records of Real Property, Tom Green County, Texas. For the Consideration, Grantor — acting by and through its Mayor, who has been duly authorized to execute this instrument on Grantor’s behalf by resolution and order of Grantor’s City Council recorded in the City Council’s official minutes — hereby quitclaims to Grantee all of Grantor's right, title, and interest in and to the Property, to have and to hold it to Grantee and Grantee's heirs, successors, and assigns forever. Neither Grantor, nor any other taxing unit interested in the Judgment, nor any other person or entity claiming under them, will have, claim, or demand any right or title to the Property or any part of it. Grantor gives this Tax- Resale Deed without any express or implied warranty whatsoever; and all warranties that might arise by common law and the warranties in § 5.023 of the Texas Property Code (or its successor) are hereby specifically excluded. Grantee's rights under this deed are subject to the provisions of Chapter 34 of the Texas Tax Code, including, without limitation, any right of redemption remaining in the former owner of the Property; the terms of any recorded restrictive covenants running with the land that were recorded before January 1 of the year in which the tax lien on the property arose; any recorded lien that arose under such restrictive covenants that was
  • 45.
    not extinguished inthe judgment foreclosing the tax lien; and each valid easement of record as of the date of the sale that was recorded before January 1 of the year the tax lien arose. Grantor is selling the Property to Grantee for an amount that is less than the lesser of (1) the market value specified in the Judgment, or (2) the total amount of the Judgment. Grantee assumes full payment of any ad valorem taxes for the Property for the current year and all future years. When the context requires, singular nouns and pronouns include the plural. GRANTOR: The City of San Angelo, a Texas home-rule municipal corporation, for itself and as Trustee for any taxing authorities named in the Judgment ATTEST: By: ____________________________ Alvin New, Mayor and duly-authorized agent Alicia Ramirez, City Clerk STATE OF TEXAS § § COUNTY OF TOM GREEN § This instrument was acknowledged before me on _____________________, 2013, by Alvin New, Mayor and duly-authorized agent of the City of San Angelo, a Texas home-rule municipal corporation, on behalf of such corporation and as Trustee for any taxing authorities named in the Judgment identified in the above instrument. __________________________________ Notary Public, State of Texas After Recording, Return To:
  • 46.
    Lot 2, Block2, Pecan Place Addition 329 E 13th St 52' x 86' Copyright 2011 Esri. All rights reserved. Thu Dec 22 2011 09:08:38 AM.
  • 48.
    PROPERTY ANALYSIS For Tax Resale Property Legal Description: Lot 2, Block 2, Pecan Place, being more particularly described in Volume 251, Page 235, Deed Records of Tom Green, Texas. Improved/Unimproved Unimproved Tax Suit Number: TAX90-0083B Location: 329 13th Street Parcel Size/Dimensions: 52' x 86' City of San Angelo vs. Roy L. Mayo Account #918 Tax ID Number: 21-38600-0002-002-00 Judgment Date: June 16, 1993 Date of Sheriff's Sale: February 4, 1997 Sheriff's Deed Recorded: February 21, 1997 Years Held in Trust 16 YRS Adjudge Value: $ 4,269.00 Purchased under Urban Redevelopment No Amount of Offer: $ 750.00 Amounts Due Priority % of Pro Rata Amounts Fees Judgment Allocations Remainder Allocations Distributed Administration Fee $500.00 $500.00 0.00% $500.00 Maintenance Fee $ 2,240.00 $0.00 100.00% $ 250.00 $ 250.00 District Clerk $0.00 $0.00 0.00% $0.00 Sheriff's Fee $0.00 $0.00 0.00% $0.00 Attorney Fee $0.00 $0.00 0.00% $0.00 Municipal Liens $0.00 0.00% $0.00 $0.00 Taxes $0.00 0.00% $0.00 $0.00 Total $2,740.00 $ - $500.00 100.00% $ 250.00 $750.00 Actual Total Amt Due $2,740.00 Amount Remaining $ 250.00 Offer will satisfy a portion of the fees. No costs are due.
  • 49.
    NOTICE OF CONFIDENTIALITYRIGHTS: If you are a natural person, you may remove or strike any or all of the following information from this instrument before it is filed for record in the public records: your social security number or your driver’s license number. Tax-Resale Deed (Property Sold for Less than Adjudged Value) Date: __________________________ Grantor: The City of San Angelo, a Texas home-rule municipal corporation, for itself and as Trustee for itself, Tom Green County, and San Angelo Independent School District 72 West College Avenue San Angelo, Tom Green County, Texas 76903 Grantee: RICHARD SALINAS, a married person as his sole and separate property 2107 Greenwood San Angelo, Tom Green County, Texas 76901 Consideration: Ten and No/100 Dollars ($10.00) and other good and valuable consideration Property (including any improvements): Lot 2, Block 2, Pecan Place, being more particularly described in Volume 251, Page 235, Deed Records of Tom Green, Texas. Account #21-38600-0002-002-00 Judgment: Judgment for the foreclosure of a tax lien against the Property entered on June 16, 1993 in Suit No. TAX90-0083B by the 119th District Court of Tom Green County, Texas. Sheriff’s Deed: Grantor acquired full legal title to the Property — both for its own benefit and as Trustee for all other taxing authorities entitled to receive proceeds from the sale of the Property under the terms of the Judgment — by Sheriff’s Deed dated February 17, 1997, and recorded in Volume 570, Page 84, Official Public Records of Real Property, Tom Green County, Texas. For the Consideration, Grantor — acting by and through its Mayor, who has been duly authorized to execute this instrument on Grantor’s behalf by resolution and order of Grantor’s City Council recorded in the City Council’s official minutes — hereby quitclaims to Grantee all of Grantor's right, title, and interest in and to the Property, to have and to hold it to Grantee and Grantee's heirs, successors, and assigns forever. Neither Grantor, nor any other taxing unit interested in the Judgment, nor any other person or entity claiming under them, will have, claim, or demand any right or title to the Property or any part of it. Grantor gives this Tax- Resale Deed without any express or implied warranty whatsoever; and all warranties that might arise by common law and the warranties in § 5.023 of the Texas Property Code (or its successor) are hereby specifically excluded. Grantee's rights under this deed are subject to the provisions of Chapter 34 of the Texas Tax Code, including, without limitation, any right of redemption remaining in the former owner of the Property; the terms of any recorded restrictive covenants running with the land that were recorded before January 1 of the year in which the tax lien on the property arose; any recorded lien that arose under such restrictive covenants that was
  • 50.
    not extinguished inthe judgment foreclosing the tax lien; and each valid easement of record as of the date of the sale that was recorded before January 1 of the year the tax lien arose. Grantor is selling the Property to Grantee for an amount that is less than the lesser of (1) the market value specified in the Judgment, or (2) the total amount of the Judgment. Grantee assumes full payment of any ad valorem taxes for the Property for the current year and all future years. When the context requires, singular nouns and pronouns include the plural. GRANTOR: The City of San Angelo, a Texas home-rule municipal corporation, for itself and as Trustee for any taxing authorities named in the Judgment ATTEST: By: ____________________________ Alvin New, Mayor and duly-authorized agent Alicia Ramirez, City Clerk STATE OF TEXAS § § COUNTY OF TOM GREEN § This instrument was acknowledged before me on _____________________, 2013, by Alvin New, Mayor and duly-authorized agent of the City of San Angelo, a Texas home-rule municipal corporation, on behalf of such corporation and as Trustee for any taxing authorities named in the Judgment identified in the above instrument. __________________________________ Notary Public, State of Texas After Recording, Return To:
  • 51.
    1916 Shleton St.S 1/2 of Lot 12, Block 3, Home Acres 87' x 250' March 7, 2013 1:2,699 0 0.0225 0.045 0.09 mi City Address Points 0 0.035 0.07 0.14 km Pending City Addresses Copyright:© 2013 ESRI, NAVTEQ, DeLorme Retired City Addresses County Address Points
  • 52.
    PROPERTY ANALYSIS For Tax Resale Property Legal Description: The South one-half of Lot 12, Block 3, Home Acres Addition, City of San Angelo, Tom Green County, Texas, as described in Volume 288, Page 55, Deed Records of Tom Green County, Texas. Improved/Unimproved Unimproved Tax Suit Number: B-00-0043-T Location: 1916 Shelton Parcel Size/Dimensions: 87' x 250' City of San Angelo vs. Eddie May Brown Account #5610 and R.J. Brown Account #8515 Tax ID Number: #15-28100-0003-029-00 Judgment Date: January 6, 2004 Date of Sheriff's Sale: November 1, 2011 Sheriff's Deed Recorded: November 17, 2011 Years Held in Trust 1 YR Adjudge Value: $ 5,200.00 Purchased under Urban Redevelopment No Amount of Offer: $ 2,500.00 Amounts Due Priority % of Pro Rata Amounts Fees Judgment Allocations Remainder Allocations Distributed Administration Fee $500.00 $500.00 0.00% $500.00 Maintenance Fee $ 350.00 0.00% $ - District Clerk $34.00 $34.00 0.00% $ - $ - Sheriff's Fee $100.00 $100.00 0.00% $ - $ - Attorney Fee $208.00 $208.00 0.00% $ - $ - Municipal Liens $ - $794.06 10.82% $141.50 $141.50 Taxes $ - $6,546.19 89.18% $1,166.50 $1,166.50 Total $1,192.00 $7,340.25 $842.00 100.00% $ 1,308.00 $1,808.00 Actual Total Amt Due $8,532.25 Amount Remaining $ 1,308.00 Offer will satisfy all court costs and a small portion of the taxes and liens.
  • 53.
    NOTICE OF CONFIDENTIALITYRIGHTS: If you are a natural person, you may remove or strike any or all of the following information from this instrument before it is filed for record in the public records: your social security number or your driver’s license number. Tax-Resale Deed (Property Sold for Less than Adjudged Value) Date: __________________________ Grantor: The City of San Angelo, a Texas home-rule municipal corporation, for itself and as Trustee for itself, Tom Green County, and San Angelo Independent School District 72 West College Avenue San Angelo, Tom Green County, Texas 76903 Grantee: MARIA ROSA SANCHEZ, a single person and LILLIANA SANCHEZ, a single person 718 W 19th Street San Angelo, Tom Green County, Texas 76903 Consideration: Ten and No/100 Dollars ($10.00) and other good and valuable consideration Property (including any improvements): The South one-half of Lot 12, Block 3, Home Acres Addition, City of San Angelo, Tom Green County, Texas, as described in Volume 288, Page 55, Deed Records of Tom Green County, Texas. Account #15-28100-0003-029-00 Judgment: Judgment for the foreclosure of a tax lien against the Property entered on January 6, 2004 in Suit No. B-00-0043-T by the 119th District Court of Tom Green County, Texas. Sheriff’s Deed: Grantor acquired full legal title to the Property — both for its own benefit and as Trustee for all other taxing authorities entitled to receive proceeds from the sale of the Property under the terms of the Judgment — by Sheriff’s Deed dated November 17, 2011, and recorded in Instrument 710996, Official Public Records of Real Property, Tom Green County, Texas. For the Consideration, Grantor — acting by and through its Mayor, who has been duly authorized to execute this instrument on Grantor’s behalf by resolution and order of Grantor’s City Council recorded in the City Council’s official minutes — hereby quitclaims to Grantee all of Grantor's right, title, and interest in and to the Property, to have and to hold it to Grantee and Grantee's heirs, successors, and assigns forever. Neither Grantor, nor any other taxing unit interested in the Judgment, nor any other person or entity claiming under them, will have, claim, or demand any right or title to the Property or any part of it. Grantor gives this Tax- Resale Deed without any express or implied warranty whatsoever; and all warranties that might arise by common law and the warranties in § 5.023 of the Texas Property Code (or its successor) are hereby specifically excluded. Grantee's rights under this deed are subject to the provisions of Chapter 34 of the Texas Tax Code, including, without limitation, any right of redemption remaining in the former owner of the Property; the terms of any recorded restrictive covenants running with the land that were recorded before January 1 of the year in which the tax lien on the property arose; any recorded lien that arose under such restrictive covenants that was
  • 54.
    not extinguished inthe judgment foreclosing the tax lien; and each valid easement of record as of the date of the sale that was recorded before January 1 of the year the tax lien arose. Grantor is selling the Property to Grantee for an amount that is less than the lesser of (1) the market value specified in the Judgment, or (2) the total amount of the Judgment. Grantee assumes full payment of any ad valorem taxes for the Property for the current year and all future years. When the context requires, singular nouns and pronouns include the plural. GRANTOR: The City of San Angelo, a Texas home-rule municipal corporation, for itself and as Trustee for any taxing authorities named in the Judgment ATTEST: By: ____________________________ Alvin New, Mayor and duly-authorized agent Alicia Ramirez, City Clerk STATE OF TEXAS § § COUNTY OF TOM GREEN § This instrument was acknowledged before me on _____________________, 2013, by Alvin New, Mayor and duly-authorized agent of the City of San Angelo, a Texas home-rule municipal corporation, on behalf of such corporation and as Trustee for any taxing authorities named in the Judgment identified in the above instrument. __________________________________ Notary Public, State of Texas After Recording, Return To:
  • 55.
    City of SanAngelo Memo Date: March 6, 2013 To: Mayor and Councilmembers From: Michael Dane, ACM/CFO Subject: Agenda Item for March 19, 2013 Council Meeting Contact: Morgan Trainer, Budget, 325-653-6291 Caption: Consent Agenda Consideration of adoption of a resolution allowing the City Manager or his designee to negotiate and execute a contract with the Chamber of Commerce Convention & Visitors Bureau allocating Hotel Occupancy Tax funds. Summary: City staff is requesting the City Council consider adopting a resolution allowing staff to continue negotiating terms of the Chamber of Commerce Convention & Visitors Bureau contract for use of hotel occupancy tax dollars. Due to San Angelo’s changing economy and positive hotel occupancy tax experience, it is prudent to change existing methodology to provide the best value to the citizens of San Angelo. History: The City of San Angelo levied the hotel occupancy tax for the operation of convention facilities, the promotion of tourism, and the improvement of the arts. Current contracts and ordinances allocate 48% of tax receipts to City of San Angelo Civic Events, 47% to the Convention & Visitors Bureau, and the remaining 5% to the San Angelo Cultural Affairs Council. The current tax rate is 7% for the City of San Angelo. The state levies an additional 6%. No change is proposed to the tax levy. On February 5, 2013 City Council discussed changing the Hotel Occupancy Tax allocation process. On March 5, 2013 staff presented a draft contract with the Chamber of Commerce Convention & Visitors Bureau to revise the way Hotel Occupancy Tax dollars are disbursed to include clear communication, performance benchmarks, demonstrate the value added, and allow the City Council to shape the entity’s activity. Financial Impact: The current budget for the Convention & Visitors Bureau contract is $693,250. The proposed contract would allocate $795,000 to the Convention & Visitors Bureau. Though this would require an increase to the budget of $101,750, this proposed allocation is less than last year’s transfer of $1,003,034.18. Though a budget amendment is required, there is ample funding available based on year to date trend to fund this contract with hotel occupancy tax. Related Vision Item Financial Vision (if applicable): Other Information/ Staff recommends approval of the resolution Recommendation: Attachments: Proposed Convention & Visitors Bureau contract and Resolution Presentation: None
  • 56.
    Publication: None Reviewed by Michael Dane, Finance, 3/6/2013 Director: Approved by Legal: Pending
  • 62.
    A RESOLUTION OFTHE CITY OF SAN ANGELO AUTHORIZING THE CITY MANAGER TO NEGOTIATE AND EXECUTE A CONTRACT WITH THE CHAMBER OF COMMERCE CONVENTION & VISITORS BUREAU ALLOCATING HOTEL OCCUPANCY TAX FUNDS WHEREAS, the State of Texas allows local governments to levy a hotel occupancy tax to enhance and promote tourism, to construct and maintain convention center facilities, to encourage the arts, for historical restoration, and for expenses for sporting events; and WHEREAS, the City of San Angelo has levied such a tax at the rate of 7% for the operation of convention facilities, the promotion of tourism, and the improvement of the arts; and WHEREAS, the Chamber of Commerce Convention & Visitors Bureau is the City’s agent to promote tourism; and NOW THEREFORE BE IT RESOLVED BY THE CITY COUNCIL OF THE CITY OF SAN ANGELO that its City Manager Daniel Valenzuela or his designee is hereby authorized to negotiate and execute a contract with the Chamber of Commerce Convention & Visitors Bureau allocating hotel occupancy tax funds: APPROVED AND ADOPTED ON THE DAY OF , 2013. THE CITY OF SAN ANGELO _______________________________ Alvin New, Mayor Attest: ______________________________ Alicia Ramirez, City Clerk Approved As to Content: Approved As to Form: ______________________________ ______________________________ Michael Dane, Assistant City Manager/CFO Lysia H. Bowling, City Attorney
  • 63.
    Exhibit "A" CONVENTION & VISITORS BUREAU 2013 BUDGET INCOME: Hotel/Motel Tax Receipts 795,000.00 Interest Income 350.00 Other Income/Visitor Center Sales 8,000.00 Community Events 0.00 Travel Cookbooks Income 0.00 TOTAL INCOME $803,350.00 OPERATING EXPENSES: Extra Help/Part Time 17,500.00 Administrative Salaries 197,887.00 Social Security 11,800.00 Bookkeeping/Administration 17,000.00 Medicare 2,700.00 Employee Retirement 10,600.00 Unemployment Comp 600.00 Group Insurance 29,150.00 Audit/Legal 2,600.00 Facility Agreement 6,000.00 Rent/Storage Bldg. 1,000.00 Equipment Expense 18,000.00 Insurance 4,680.00 Postage 2,400.00 Telephone 7,000.00 Office Supplies 6,500.00 Automobile 19,000.00 Miscellaneous Office Support 2,000.00 Maintenance 11,600.00 Security 2,000.00 Utilities 14,000.00 Computers/Database Support 5,000.00 Christmas Lights Expense 1,750.00 Cornerstone Expense 200.00 TOTAL OPERATING EXPENSES 390,967.00
  • 64.
    MARKETING/ADVERTISING Professional Dues 7,000.00 Pro Training/Conferences 4,500.00 Subscriptions 5,000.00 Advertising/publicity 185,000.00 Volunteer Programs 2,400.00 Public Relations 5,000.00 Convention Servicing/Supplies 27,000.00 Promotional Items 11,500.00 Visitors & Travel Marketing 29,575.00 Convention & Travel Trade 48,000.00 Postage/marketing 3,500.00 800 Number (telephone) 400.00 Trade Shows 23,000.00 Visitor Center Merchandise 6,000.00 Brochure Development/Printing 12,000.00 Visitor Event Incentive 40,000.00 CVB Website 2,500.00 TOTAL MARKETING/ADV 412,375.00 TOTAL EXPENSES 803,342.00 SURPLUS (DEFICIT) 8.00
  • 65.
    City of SanAngelo Office of the City Clerk Memo Date: March 8, 2013 To: Mayor and Councilmembers From: Alicia Ramirez, City Clerk Subject: Agenda Item for March 20, 2012 Council Meeting Contact: Alicia Ramirez, City Clerk, 657-4405 Caption: Consent Item Consideration of adopting a Resolution appointing election officials for the election to be held on May 11, 2013; and providing for an effective date Summary: The Resolution appointing election officials, judges and alternates for the General/Special Election is a routine action required by the Election Code. In the majority of the polling places, both the judges and alternates have previously served for City elections. In all polling places, either the judge or alternate has experience in serving for elections. In addition, State Law requires the presiding judge of an election precinct to make reasonable efforts to appoint a sufficient number of election clerks who are fluent in both English and Spanish to serve the needs of the Spanish-speaking voters of the precinct, if five percent (5%) or more of the inhabitants are persons of Spanish origin or descent. Most precincts will include two (2) election clerks. In accordance with the Election Services Contract with the Tom Green County Elections Administrator previously approved by the Council, the list of judges and alternates is provided by the Elections Administrator and is responsible for ensuring reasonable efforts to serve Spanish- speaking voters. Financial Impact: The expense of the Election is shared on a pro rata basis with the Independent School Districts in San Angelo, Grape Creek, Wall, and Veribest. The estimated total cost for a city-wide election at $30,000.00 to $40,000.00 and we are anticipating a Runoff Election for June 15, 2013.. Other Information/Recommendation: On the final two days of early voting by personal appearance, the Election Administrator’s office and branch location hours will be designated from 7:00 a.m. until 7:00 p.m., beginning on May 6 and ending May 7, 2013. Staff recommends adoption of the Resolution. The Resolution designating the polling locations and Contract for joint election services was authorized in December 6, 2011. Attachments: Resolution appointing Election Judges
  • 66.
    RESOLUTION OF THECITY COUNCIL OF THE CITY OF SAN ANGELO, TEXAS, APPOINTING ELECTION OFFICIALS FOR THE ELECTION TO BE HELD ON MAY 11, 2013; AND PROVIDING FOR AN EFFECTIVE DATE WHEREAS, the City of San Angelo adopted Ordinance #2013-02-??? calling for the General Election on May 11, 2013; and WHEREAS, the City of San Angelo adopted Resolution #2013-03-??? designating polling places within the election precincts within the City of San Angelo, Texas for elections ordered; and WHEREAS, the Texas Election Code Section 32.005 authorizes the City Council to appoint election judges for the designated polling places, within the election precincts within the City of San Angelo, Texas for elections ordered by the City; and WHEREAS, by this Resolution, it is the intention of the City Council to appoint election officials and judges to each early voting and election day polling place within the designated election precinct; and WHEREAS, the Election Services Contract with the Tom Green County Elections Administrator provides that the Administrator arrange for the use of the polling places and furnish a list of judges and Alternateernates for each polling place; NOW THEREFORE, BE IT RESOLVED: SECTION 1: FINDINGS INCORPORATED. The findings set forth above are incorporated into the body of this Resolution as if fully set forth herein. SECTION 2: DESIGNATION OF ELECTION JUDGES AND ALTERNATEERNATES FOR THE CITY’S ELECTION PRECINCTS FOR THE GENERAL ELECTION TO HELD ON MAY 11, 2013: The election judges and Alternateernates assigned to the designated election precincts within the City, as set forth in Exhibit "A", attached hereto and incorporated herein for all purposes. SECTION 3: FURTHER DESIGNATION: The City further authorizes the City Clerk to appoint substitute election judges in the event the individuals appointed herein are unable to fulfill their duties. SECTION 4: NECESSARY ACTIONS: The Mayor and the City Clerk, in consultation with the City Attorney, are hereby authorized and directed to take any and all actions necessary to comply with the provisions of the Code, the Texas Election Code and any other state or federal law in carrying out and designating polling placing, whether or not expressly authorized herein and all actions previously taken are hereby ratified.
  • 67.
    SECTION 5: EFFECTIVEDATE. This Resolution shall become effective immediately upon its passage. APPROVED AND ADOPTED on this 19th day of March, 2013. THE CITY OF SAN ANGELO, TEXAS ___________________________ Alvin New, Mayor ATTEST: _______________________ Alicia Ramirez, City Clerk Approved As to Content: Approved As to Form: Alicia Ramirez, City Clerk Lysia H. Bowling, City Attorney
  • 68.
    Exhibit “A” DESIGNATION OF ELECTION JUDGES AND ALTERNATEERNATE JUDGES FOR DESIGNATED POLLING PLACES FOR MAY 11, 2013 GENERAL/SPECIAL ELECTION ELECTION DAY POLLING LOCATIONS OPEN FROM 7:00 A.M. TO 7:00 P.M. Election Day Dia de las Elecciones May 11, 2013, 7 am to 7 pm El 11 de mayo, 2013, desde las 7 hasta las 7 Voters in precincts 114, 137, and 144 vote at Belmore Baptist Church-Fellowship Hall, 1214 S. Bell St. Votantes en precintos 114, 137, y 144, votar en Belmore Baptist Church-Fellowship Hall, 1214 South Bell ELECTION JUDGE: David McMahon, Judge and Nelda Englert, Alternate Judge Voters in precincts 106, 107, 127, and 146 vote at Baptist Memorial Hospital, 902 N. Main, Chapel Votantes en precintos 106, 107, 124, y 146 votan en la capilla de Baptist Memorial Hospital, 902 Main al Norte. ELECTION JUDGE: Mark Gregory, Judge and Maggie Fernandez, Alternateernate Judge Voters in precinct 108 vote at Harriett Baptist Church, 7626 N US Hwy 67 Votantes en precinto 108 votan en Harriett Baptist Church, 7626 N US Hwy 67 ELECTION JUDGE: Noemi Hoelscher, Judge and Cruz Carol, Alternateernate Judge Voters in precincts 112 and 213 vote at St Ambrose Church, 8602 Loop 570, Wall, TX. Votantes en precintos 112 y 213 votan en St. Ambrose Church, 8602 Loop 570, Wall, TX. ELECTION JUDGE: Lloyd Moore, Judge and Charlene Dusek, Alternateernate Judge Voters in precincts 228, and 230 vote at Southgate Church of Christ, 528 Country Club Rd. Votantes dentro precintos 228, y 230 votan en Southgate Church of Christ, 528 Country Club Road. ELECTION JUDGE: Sid Clemmer, Judge and Carol Cahill, Alternateernate Judge Voters in precincts 215 and 241 vote at Texas Department of Transportation, 4502 Knickerbocker Rd., Bldg. E Votantes en precintos 215 y 241 votan en el Departamento de Transporte de Texas, 4502 Knickerbocker Road, Edificio "E". ELECTION JUDGE: Charlie Hafer, Judge and Sue Bramhall, Alternate Judge Voters in precincts 304, 306, and 348 vote at Lakeview Bible Church, 4825 Grape Creek Rd. Votantes en precintos 304, 306, y 348 votan en Lakeview Bible Church, 4825 Grape Creek Road ELECTION JUDGE: Gloria Mata, Judge and Aurora Rodriguez , Alternate Judge Voters in precincts 305, 308, 319, 327, and 351 vote at Ángelo Bible Church, 3506 Sherwood Way. Votantes en precintos 305, 308, 319, 327, y 351 votan en Ángelo Bible Church, 3506 Sherwood Way. ELECTION JUDGE: Sandi Smith, Judge and Charlene Corfield , Alternate Judge Voters in precinct 358 vote at Grape Creek ISD Admin. Building, 8207 US Hwy. 87 N. Votantes en precinto 358 votan en el DEI de Grape Creek en el edificio de Administración, 8207 US HWY 87, Norte. ELECTION JUDGE: Betty Lacy, Judge and Gena Franks, Alternate Judge Voters in precincts 402, 420, 421, and 424 vote at Plaza del Sol Apartments, 4359 Oak Grove Blvd. Votantes en precintos 402, 420, 421, y 424 votan en Plaza del Sol Apartments, 4359 Oak Grove Boulevard ELECTION JUDGE: John Graham, Judge and Mitch Krasny, Alternate Judge Voters in precincts 401, 434, 435, and 436 vote at MHMR Services, 1501 W. Beauregard Ave. Votantes en precintos 401, 434. 435 y 436 votan en Servicios de MHMR 1501 Beauregard, Oeste. ELECTION JUDGE: Ivey Mossell, Judge and Jim Jones, Alternate Judge Voters in precinct 423 vote at Knickerbocker Community Center, 14608 FM 2335, Knickerbocker, TX. Votantes en precinto 423 votan en Knickerbocker Community Center, 14608 FM 2335, Knickerbocker, TX. ELECTION JUDGE: Mary Page, Judge and Silvia Montalvo, Alternate Judge
  • 69.
    Early Voting bypersonal appearance and mail, 113 W. Beauregard Vona McKerley, Early Voting Clerk Alicia Ramirez, Deputy Early Voting Clerk Rudy Olivas, Deputy Early Voting Clerk Vanessa Simon, Deputy Early Voting Clerk Early Voting Ballot Board, 113 W. Beauregard Katherine Osborne, Chairperson CLERKS: Lenda Campbell, Stella Hodges, Connie DelaRosa, Anita Betty, Linda Martin, and Charlene Schmidt Central Counting Station and Manual Count, 113 W. Beauregard Alicia Ramirez, Presiding Judge Vona McKerley, Manager Rudy Olivas, Technical Supervisor CLERKS: John Stone, Barbara Stone, Kevin Burke, Gwenn Neill, Mike Granados, and Stephen Radloff TECHNICAL CLERKS: John Stone and Barbara Stone Tom Green County Sherriff, Security DOCK: Bob Boyles and Danny List Precinct Records and Voted Ballots Storage, 113 W. Beauregard Vona McKerley, Agent to General Custodian Alicia Ramirez, General Custodian of Special Election Records
  • 70.
    City of SanAngelo Memo Date: To: Mayor and Councilmembers From: Carl White, Parks & Recreation Director Subject: Agenda Item for March 19, 2013 Council Meeting Contact: Carl White, 325-234-1724 Caption: Consent Item Consideration of approving an Interlocal Cooperative Agreement with the San Angelo Independent School District for the construction of improvements at the Bradford Elementary School Park and authorizing the Mayor or City Manager to execute the agreement. Summary: This agreement will authorize the construction of park amenities on the Bradford th School property (vicinity 24 and Poe Streets in Northeast San Angelo) and document the relationship between the City and SAISD regarding this project and the availability of the improvements to the public as well as maintenance responsibilities. History: There is no history on this item. Funds are available for park improvements and Council has directed staff to cooperate with SAISD to provide park amenities, where possible, on school property such that they can be used by the public and maintained by SAISD. Financial Impact: The cost of the project is $175,000.00 from half-cent sales tax funds dedicated to Park Improvements. Related Vision Item Neighborhood Vision – provide adequate amenities for all neighborhoods. (if applicable): Other Information/ Staff recommends approval. Recommendation: Attachments: Proposed agreement and Resolution Presentation: N/A Publication: N/A Reviewed by Rick Weise, Assistant City Manager Director: Approved by Legal: Yes Adopted: 5/30/03 Revised: 6/21/10
  • 80.
    A RESOLUTION OFTHE CITY OF SAN ANGELO AUTHORIZING THE CITY MANAGER OR HIS DESIGNEE TO EXECUTE AN INTERLOCAL COOPERATION AGREEMENT WITH THE SAN ANGELO INDEPENDENT SCHOOL DISTRICT (SAISD) PROVIDING FOR CONSTRUCTION BY THE CITY OF RECREATIONAL AND PARK IMPROVEMENTS, NOT TO EXCEED $175,000.00, FOR PUBLIC USE ON PROPERTY OWNED BY THE SAISD GENERALLY KNOWN AS BRADFORD ELEMENTARY SCHOOL, TO BE MAINTAINED BY THE SAISD WHEREAS, the City Council determines that it is in the interest of the citizens of the City of San Angelo for the City to cooperate with the San Angelo Independent School District (SAISD) for the joint use of resources to mutually provide park amenities open to the public ; and, WHEREAS, the Bradford Elementary School is located on N. Poe Street, between E. 22nd Street and E. 24th Street, and includes vacant land suitable for recreational and park amenities for public use; and, WHEREAS, the SAISD is agreeable to maintain park facilities proposed to be constructed on school district property by the City for public use under terms of an interlocal agreement, for a term of twenty-five years with option to renew for an additional twenty-five years, which use would be beneficial for the citizens of the City of San Angelo; NOW THEREFORE BE IT RESOLVED BY THE CITY COUNCIL OF THE CITY OF SAN ANGELO, TEXAS THAT: The City Manager or his designee is hereby authorized to execute an Interlocal Cooperation Agreement on behalf of the City of San Angelo with the San Angelo Independent School District effective for a term of twenty-five years with an option to renew for an additional twenty-five years, pursuant to which the City of San Angelo shall construct recreational and park improvements on certain property owned by the SAISD known as Bradford Elementary School, in a sum not to exceed One Hundred Seventy- Five Thousand and No/100 Dollars ($175,000.00), for public use by the Citizens of San Angelo.. PASSED and APPROVED THIS DAY OF , 2013. CITY OF SAN ANGELO, TEXAS ATTEST: Alvin New, Mayor Alicia Ramirez, City Clerk
  • 81.
    APPROVED AS TOCONTENT APPROVED AS TO FORM Carl White, Parks & Recreation Director Lysia H. Bowling, City Attorney
  • 82.
    City of SanAngelo Memo Date: To: Mayor and Councilmembers From: Lysia H. Bowling, City Attorney Subject: Agenda Item for March 19, 2013 Council Meeting Contact: Assistant City Manager Rick Weise, 657-4241 Caption: Consent Item Consideration of A Resolution by the City Council of the City of San Angelo, Texas, authorizing the City Manager to execute a First Amended Lease Agreement amending the original lease agreement between City of San Angelo and Howard County Junior College District, including extending the original lease term and providing for additional improvements to be made on leased premises. Summary/History: Since January of 2001, Howard County Junior College District and the City of San Angelo have operated a highly successful vocational training program commonly referred to as the West Texas Training Center (WTTC) located at the Howard College San Angelo Campus facility. Due to its success, the Howard College San Angelo Campus facility has reached maximum enrollment and additional facilities are needed to better serve the citizens of San Angelo and surrounding areas. The identified needs are both vocational and academic programs and the expanded services will begin immediately upon construction. Preexisting educational services will continue without interruption. For this reason, Howard County Junior College District requests the City of San Angelo approve the attached amendment to the original lease between the parties which provides for a fifty five (55) year lease term from the inception of the original lease term of September 1, 2008 and for one (1) renewal term of twenty five (25) years. This amended lease term will allow Howard County Junior College District to construct and maintain additional vocational and educational facilities for the benefit of the Howard College San Angelo campus and the San Angelo community as a whole. The improvements will be financed by revenue bonds to be repaid by student tuition and other fees. All costs of construction and maintenance will be assumed by Howard County Junior College District for the period of the lease. After the term of the lease and any renewal term expire, ownership of the facilities will transfer to City of San Angelo. The proposed facilities and improvements have been designed by the architectural firm of Parkhill Smith and Cooper Inc. employing the construction management at risk procurement and delivery method. Financial Impact: Lessee bears cost for performance and obligations. Related Vision Item None. (if applicable): Other Information/ Staff recommends the City Manager to execute the lease agreement. Recommendation:
  • 83.
    Attachments: Resolution Lease Agreement Presentation: None. Publication: None. Reviewed by None. Director: Approved by Legal: City Attorney Lysia H. Bowling, 3/12/13
  • 108.
    A RESOLUTION BYTHE CITY COUNCIL OF THE CITY OF SAN ANGELO, TEXAS, AUTHORIZING THE CITY MANAGER TO EXECUTE A FIRST AMENDED LEASE AGREEMENT AMENDING THE ORIGINAL LEASE AGREEMENT BETWEEN CITY OF SAN ANGELO AND HOWARD COUNTY JUNIOR COLLEGE DISTRICT, INCLUDING EXTENDING THE ORIGINAL LEASE TERM AND PROVIDING FOR ADDITIONAL IMPROVEMENTS TO BE MADE ON LEASED PREMISES. WHEREAS, City and Howard County Junior College District entered into Lease Agreement ("Lease Agreement") on August 19, 2008 for lease of 20.087 acres of land, to include the West Texas Training Center located at 3501 N. US HWY 67, San Angelo, Tom Green County, Texas, for the operation and maintenance of a technical training center for public education purposes; WHEREAS, City and Lessee now desire to amend Lease Agreement and enter into First Amended Lease Agreement to change certain provisions of Lease Agreement, including extending the original lease term and providing for additional improvements to be made on leased premises; WHEREAS, all of the terms and conditions of the original Lease Agreement shall be and remain in full force and effect unless amended or changed by the First Amended Lease Agreement. NOW, THEREFORE, BE IT RESOLVED BY THE CITY COUNCIL OF SAN ANGELO, TEXAS THAT: The City Manager is hereby authorized to execute the First Amended Lease Agreement on behalf of the City of San Angelo and Howard County Junior College District amending the original Lease Agreement between the parties dated August 19, 2008. PASSED and APPROVED THIS _ _ _ _ _ DAY OF _ _ _ _ _ _ _ _ _.~:, 2013. ATTEST: CITY OF SAN ANGELO, TEXAS Alicia Ramirez, City Clerk Alvin New, Mayor APPROVED AS TO CONTENT APPROVED AS TO FORM Rick Weise, Assistant City Manager Lysia H. Bowling, City Attorney
  • 133.
    City of SanAngelo Memo Date: December 14, 2012 To: Mayor and Council members From: City Attorney Lysia H. Bowling Subject: Agenda Item for March 19, 2013 Contact: Office of the City Attorney, 657-4405 Caption: Consent Agenda Consideration of the adoption of a resolution endorsing certain legislative action in rd the Regular Session of the 83 Legislature to enhance the competitive electric market and system reliability and to protect the traditional role of cities in the regulatory process.. Summary: The City of San Angelo is a member of the Texas Coalition for Affordable Power (TCAP). More than 160 cities and political subdivisions make up TCAP, which is one of the largest organizations of energy consumers in the State of Texas. TCAP, as part of its mission, monitors federal, state and local initiatives that may affect the price and availability of energy, and proactively promotes affordable energy policies which can impact municipal budgets and the ability to fund essential services History: Historically, cities have formed coalitions to represent their collective interests before utility rate regulatory agencies and courts. By forming coalitions, cities have been able to present a strong voice for consumers for over thirty years. This has served to reduce costs that cities and their residents pay for electric and gas utility services. In numerous instances, without the participation of coalitions of cities, rate increases would have gone into effect without any party scrutinizing the utility’s application for rate increase. Participation in the coalition and adoption of the resolution endorsing legislative action to enhance the competitive electric market will demonstrate the mutual concern of the City of San Angelo with other city members of TCAP for reliability, quality of service, and price of electric utilities. Financial Impact: The City of San Angelo is a member of TCAP. Support of the efforts of the coalition may result in maintaining favorable legislation accommodating the participation of Texas cities in the process for consideration of future utility applications for rate increases. Related Vision Item N/A (if applicable): Other Information/ N/A Recommendation: Staff recommends adoption of the resolution.
  • 134.
    Attachments: The proposed resolution is attached. Presentation: N/A Publication: N/A Reviewed by City Attorney Lysia H. Bowling Director: Approved by Legal: 3/12/13
  • 135.
    RESOLUTION NO. ____________ A RESOLUTION OF THE CITY OF SAN ANGELO, TEXAS, ENDORSING CERTAIN LEGISLATIVE ACTION IN THE REGULAR SESSION OF THE 83RD TEXAS LEGISLATURE TO ENHANCE THE COMPETITIVE ELECTRIC MARKET AND SYSTEM RELIABILITY AND TO PROTECT THE TRADITIONAL ROLE OF CITIES IN THE REGULATORY PROCESS WHEREAS, the City of San Angelo, Texas is a member of Texas Coalition for Affordable Power (“TCAP”), a non-profit political subdivision created by cities throughout Texas to secure affordable electric energy for its members in the deregulated electric market; and WHEREAS, TCAP pools the energy needs of its more than 160 political subdivision members to negotiate favorable prices and contract terms for the purchase of approximately 1.3 billion kilowatt hours annually; and WHEREAS, affordable and reliable power means economic development for the City and a better standard of living for our citizens; and WHEREAS, the City supports legislative initiatives that promote a healthy electric market where competition can flourish and electric customers can save money; and WHEREAS, the City endorses the legislative agenda of TCAP and opposes legislative initiatives that would fundamentally alter the ERCOT energy market or the traditional role of cities in the regulatory process. THEREFORE BE IT RESOLVED BY THE CITY COUNCIL OF THE CITY OF SAN ANGELO, TEXAS, THAT: 1. The Regular Session of the 83rd Texas Legislature be encouraged to preserve the traditional role of cities in the regulatory process, including original jurisdiction and reimbursement of reasonable rate case expenses. 2. The Legislature make no statutory changes that would lead to a reduction in revenues paid by public utilities as franchise fees for rental of public rights-of-way. 3. The Legislature facilitate and encourage public/private partnerships between cities and electric generation developers in creating small-scale (not to exceed 50 MW) power plants capable of rapidly meeting peak power needs. 4. The Legislature recognize that “smart meters” are under-utilized with regard to encouraging and incentivizing reductions in energy consumption during peak periods and that the regulated transmission and distribution utilities which own the “smart meters” be allowed to re-enter the retail electric market to the extent they offer regulated rate plans designed to incent reductions in peak energy consumption. 5. The Legislature preclude foreign ownership of electric distribution assets and make it clear that, notwithstanding any other provision in law, home rule cities, individually or collectively, shall be permitted to own and operate electric distribution assets so long as said cities are not involved in retail sales of electricity.
  • 136.
    6. The Legislature resist any efforts to transform the energy-only ERCOT market into a capacity market which would increase the price of electricity by artificially inflating generator profits. 7. The Legislature enhance protections against anti-competitive activities in the wholesale market and require the Public Utility Commission (“PUC”) to reform its rules related to Voluntary Mitigation Plans and allow cities and other interested parties to participate in review of such plans. 8. The Legislature mandate that the PUC and market participants provide consumer education regarding the relationship between time of use, cost of energy production and transmission, and the price paid by consumers. 9. The Legislature require the PUC to establish certain uniform products that must be offered by all retail electric providers (“REPs”) and to establish new rules governing the powertochoose.org and powertosavetexas.org websites that will better inform retail customers of complaints against REPs and better educate customers regarding the economic and market benefits of reducing demand during peak periods. 10. This resolution shall take effect immediately upon its passage. 11. A copy of this resolution shall be sent to the elected lawmakers representing the City’s interests in the Texas House and Senate and to Randolph C. Moravec, Executive Director of TCAP, 15455 Dallas Parkway, Addison, Texas 75001. PRESENTED AND PASSED on this ______ day of ____________, 2013 by a vote of ____ ayes and ____ nays at a regular meeting of the City Council of San Angelo, Texas. CITY OF SAN ANGELO, TEXAS ____________________________________ Alvin New, Mayor ATTEST: ______________________________ Alicia Ramirez, City Clerk APPROVED AS TO FORM: _____________________________ Lysia H. Bowling, City Attorney
  • 137.
    The Texas Coalitionfor Affordable Power Recommendations for a More Competitive Electric Market Because high energy costs can impact municipal budgets and the ability to fund essential services, TCAP, as part of its mission, actively promotes affordable energy policies. Affordable power in a fully competitive market also means economic development for our communities and a better life for our citizens. TCAP members are committed to making electric deregulation work. Maintaining an even playing field for cities Cities have a long history representing consumers in “regulated” rate cases. But big electric companies want to deter cities from exercising any opposition so they can more easily raise rates. TCAP will work hard at the Texas Legislature to protect city authority. Fair Price for Electricity Produced at Home Are rooftop solar panels installed in your community? TCAP supports legislation that will ensure that residential and small commercial customers that produce excess power at their homes or businesses receive a fair price for power they provide the grid. Reduce Confusion in the Retail Electricity Market Texans should have access to standard-language electricity deals. These deals will enhance competition by facilitating apples-to-apples price shopping. Contact: Randolph (Randy) C. Moravec, PhD, Executive Director rcmoravec@tcaptx.com • (972) 742-7015
  • 138.
    Avoid Changes inthe Market that Will Increase Costs Some of the state’s generation companies want to receive big payments for power plants, regardless of whether any power is actually generated — and are lobbying hard for changes to make it happen. TCAP will oppose proposals at the Legislature that create unnecessary price supports for generators that circumvent the competitive market and increase electricity costs to consumers. Updating Market Protections in the Lone Star State Where appropriate, anti-competitive behavior prohibited in other states should also be prohibited in Texas. Texas regulators should have the same power to assess penalties as regulators elsewhere. Legal loopholes that exempt some generators from prosecution should be closed. Promote Public-Private Electric Generation Partnerships TCAP wants cities to have the right to pursue small-scale generation projects, just so long as the projects enhance economic development and produce affordable power. Such public-private partnerships also are a cost-effective way to help address the state’s long-term generation and reliability challenges. No foreign ownership of electric distribution facilities Texans depend on a complex network of wires to bring power to their homes. With so much at stake, accountability is important. That’s why there should be no foreign ownership of local electric distribution networks. When the system fails or bills go up, Texans shouldn’t have to call Madrid to complain. Home rule cities — individually or collectively —also should be permitted to own and operate electric distribution networks. Hold Big Generation Companies Accountable for Market Abuses Under Texas law, big generation companies can obtain advanced regulatory protections against future prosecution for anti-competitive behavior. TCAP supports reforms to ensure that these advanced protections are fair, and don’t become “Get Out Of Jail Free” cards for market abusers. Contact: Randolph (Randy) C. Moravec, PhD, Executive Director rcmoravec@tcaptx.com • (972) 742-7015
  • 139.
    National Nutrition Month®2013 Proclamation (State or City) OF EXECUTIVE OFFICE PROCLAMATION WHEREAS food is the substance by which life is sustained; and WHEREAS the type, quality, and amount of food that individuals consume each day plays a vital role in their overall health and physical fitness; and WHEREAS there is a need for continuing nutrition education and a wide-scale effort to enhance healthy eating practices; NOW, THEREFORE I, _________________(Name), __________________(Title) _________________________________________________________, (City/State) DO HEREBY PROCLAIM the month of March NATIONAL NUTRITION MONTH® in (City/State)_______________, and I encourage all citizens to join the campaign and become concerned about their nutrition and the nutrition of others in the hope of achieving optimum health for both today and tomorrow. IN WITNESS WHEREOF I have hereto set my hand and caused the Great Seal of the _____________________________________________________________________ to be affixed. Done at the ____________on this the ________day of ________________________, Two thousand and thirteen. By: Title: Attest: Title:
  • 140.
    PROCLAMATION WHEREAS, For over 150 years, Lutheran Schools have provided communities, states, and the country with Christian leaders in business, politics, military, ministry, education, and other fields; and WHEREAS, National Lutheran Schools Month is also an occasion for schools to interest citizens in volunteering their time and talents to local Lutheran Schools; and WHEREAS, Lutheran Schools have provided a quality Christian education program that has inspired students to serve others through civic engagement and provided students with opportunities to serve while equipping them with the tools they need to fulfill their future roles as good citizens, productive employees, and compassionate leaders; and WHEREAS, Locally we are joining with Trinity Lutheran School as they celebrate almost 63 years of service to our Community; NOW, THEREFORE, I, Alvin New, Mayor of the City of San Angelo, Texas, on behalf of the City Council, do hereby proclaim March, 2013 as “NATIONAL LUTHERAN SCHOOLS MONTH” and encourage everyone to pay tribute to the dedication and service of Trinity Lutheran School for their many years of commitment to the community of San Angelo. IN WITNESS WHEREOF, I have hereunto set my hand and caused the Seal of the City to be affixed this 19th day of March, 2013. THE CITY OF SAN ANGELO ALVIN NEW, MAYOR
  • 141.
    City of SanAngelo Memo Meeting Date: March 5, 2013 To: City Council members From: Jeff Hintz, Interim Senior Planner Subject: PD 13-01 West Company/Granger Macdonald, A request for approval of a zone change from a combination of Single-Family Residential (RS-1) and General Commercial (CG) to Planned Development (PD) to specifically allow for multi-family living and a lease house /amenity center on the following property: Location: an unaddressed 9.8 acre property, located directly west of the intersection of Northwest Drive and Green Hill Road. The property specifically occupies a proposed Second Replat of Arden Acres, Section Three, Block 3, Tract 3 in western San Angelo. Purpose: Approval of this request will change the zoning designation on the property and allow the construction of multi-family dwelling units. Contacts: Andrew Mellen, West Company 432-682-0588 Jeff Hintz, Interim Senior Planner 325-657-4210 Caption: First Public Hearing and consideration of introduction of an Ordinance amending Chapter 12, Exhibit “A” (Zoning Ordinance) of the Code of Ordinances, City of San Angelo PD 13-01: West Company/Granger Macdonald AN ORDINANCE AMENDING CHAPTER 12, EXHIBIT “A” OF THE CODE OF ORDINANCES, CITY OF SAN ANGELO, TEXAS, WHICH SAID EXHIBIT “A” OF CHAPTER 12 ADOPTS ZONING REGULATIONS, USE DISTRICTS AND A ZONING MAP, IN ACCORDANCE WITH A COMPREHENSIVE PLAN, BY CHANGING THE ZONING AND CLASSIFICATION OF THE FOLLOWING PROPERTY, TO WIT: an unaddressed 9.8 acre property out of approximately 75 acres currently described as Section 3, Arden Acres, which is located adjacent to and directly west of the
  • 142.
    intersection of NorthwestDrive and Green Hill Road. The property specifically occupies a proposed Second Replat of Arden Acres, Section Three, Block 3, Tract 3 in western San Angelo, changing the zoning classification from a combination of Single-Family Residential (RS-1) and General Commercial (CG) to Planned Development (PD) District; PROVIDING FOR SEVERABILITY AND PROVIDING A PENALTY Summary: The City Council may: (1) Approve the proposed zone change; (2) Remand the application back to Planning Commission for further discussion, in which case another public hearing will need to be scheduled; or (3) Approve subject to modification OR acceptance of proposed conditions; or (4) Deny the proposed zone change Recommendation: Planning staff recommends approving the proposed zone change, subject to the Conditions listed in Conditions 5-14 of the attached draft ordinance. Planning Commission recommended approval of this request by a 5-0 vote on February 18, 2013. History and Background: General Information Existing Zoning: Single-Family Residential (RS-1) and General Commercial (CG) Existing Land Use: undeveloped, vacant property Surrounding Zoning/Land Use: North: CH Undeveloped open property West: CG & RS-1 Undeveloped property & ball fields South: RS-1 Red Arroyo, vacant land East: CG Vacant property & retail establishments 2
  • 143.
    Thoroughfares/Streets: Northwest Drive is defined as a collector street in this area and is designed to collect local street traffic carrying it to arterial streets at a moderate speed. Green Hill Road is defined as a local street and is designed to carries light neighborhood traffic at lower speeds and generally connects to collector streets. Zoning History: No previous zoning history on this property. The general area was annexed into the City Limits in November of 1997 Development Standards: All required off-street parking and the connection(s) to a public right-of-way are required to be paved. Construction of more than one principal building for multi-family use on a lot requires an Urban Design Review to be completed and approved before construction may take place. Other applicable development standards are included in the draft ordinance at the end of this report. Vision Plan Map: Commercial Comp Plan Excerpts: Goal Three from the Neighborhood Section of the 2009 Comprehensive Plan states that (the city should), "Improve relationship between adjacent commercial and residential land use adjacencies." One action step of this goal states that (the city should), " Require a buffer separating commercial, industrial, or agricultural zoned lands from neighborhoods. This buffer may be an intermediate “mixed-use” zone, a landscape buffer, or public right- of-way. Goal One from the Commercial Section of the 2009 Comprehensive Plan states that (the city should), "Establish transition areas between commercial areas and nearby neighborhoods." 3
  • 144.
    Special Information Traffic Concerns: Changing the zoning from residential and commercial to Planned Development with the allowance for a multi-family living facility will certainly generate additional traffic than if the property remained as is. Northwest Drive has immediate access to the Houston Harte Expressway and Arden Road; both of these roadways are designed to carry traffic at higher speeds with limited access. Parking Requirements: See Section 11 of the attached draft ordinance. Parking Provided: No off-street parking is currently provided. Density: No development is currently open space is currently present in this area Notification Required: Yes Notifications Sent: 1 Responses in Favor: 0 Responses in Opposition: 0 Analysis: In order to approve this zone change request, the City Council members are first required to consider the following criteria: 1. Compatible with Plans and Policies. Whether the proposed amendment is compatible with the Comprehensive Plan and any other land use policies adopted by the Planning Commission or City Council. 2. Consistent with Zoning Ordinance. Whether and the extent to which the proposed amendment would conflict with any portion of this Zoning Ordinance. 3. Compatible with Surrounding Area. Whether and the extent to which the proposed amendment is compatible with existing and proposed uses surrounding the subject land and is the appropriate zoning district for the land. 4. Changed Conditions. Whether and the extent to which there are changed conditions that require an amendment. 4
  • 145.
    5. Effect onNatural Environment. Whether and the extent to which the proposed amendment would result in significant adverse impacts on the natural environment, including but not limited to water and air quality, noise, storm water management, wildlife, vegetation, wetlands and the practical functioning of the natural environment. 6. Community Need. Whether and the extent to which the proposed amendment addresses a demonstrated community need. 7. Development Patterns. Whether and the extent to which the proposed amendment would result in a logical and orderly pattern of urban development in the community. The staff recommendation is based upon the statements listed below. Staff finds this request to be consistent and compatible with the plans and policies adopted by the community for this particular area. When examining the comprehensive Plan as a whole, the intent is to transition from more intense zoning classifications slowly into neighborhoods. In examining this particular request, staff believes a multi- family complex will serve as this transition in this area. The areas along Houston Harte are intended for higher trafficked and more intense commercial uses. In examining this particular area, there is neighborhood development called for to the west. Staff believes this request is consistent with the goals of the community's comprehensive plan and this particular development will serve as a gentle transition into the neighborhood areas. Given the current zoning of the property, a much higher intensity usage would be allowed and also be a much less suitable into the neighborhood areas identified within the vision plan. It is the belief of staff that a Planned Development for this particular property will generally be consistent with the intent of the Zoning Ordinance. The introduction of a multi-family dwelling unit development in this area is compatible with the surrounding area. The street network's capability in this area and isolated location make this an area where staff believes a multi-family dwelling will be successful. This higher intensity, residential development will not generate the traffic that a retail establishment has the potential to, but at the same time the number of visitors to and from the site will be more like a traditional neighborhood, but a more compact scale. Staff is confident this Planned Development will serve as a buffer from the higher intensity commercial uses that may occur along northwest to the envisioned neighborhood development areas to the west. The Zoning Ordinance and Comprehensive Plan seek to create these transition areas between land uses and in turn help to create orderly predictable development in this area. This proposal will not alter development patterns in this area, in fact this development may serve as a catalyst for infill development in this area, something that is also encouraged within the Comprehensive Plan. 5
  • 146.
    The intent ofthe Comprehensive Plan and Zoning Ordinance is to create transitional zones between commercial zoning and residential zoning within the community. Multi- family developments tend to be a bit of a hybrid regarding the actual land use. These types of developments are residential in nature and use, but depending upon the size, can generate traffic at a higher rate than a lower density neighborhood can. While apartments can be part of a successful neighborhood (one which offers a wide variety of housing options), staff believes this Planned Development and the intensity it is seeking to create on the property will be consistent with the goals and intent of the Comprehensive Plan for this area. As such, no vision Comprehensive Plan amendment will be required to approve this request. This proposal will certainly have an effect on the natural environment in this area as the land is currently undeveloped and in its natural state. The proximity to the Red Arroyo and the sheer size of this development will require some storm water mitigation through the platting process. The applicant is aware of the effect this development will have on the area and it is the understanding of staff that there are plans being worked on to account for this effect on the environment in this area. The development is located nearby other businesses at this time, but given the size of the parcels in this area will be somewhat isolated when it is completed. Given the development patterns of the area and isolation from other properties, staff believes that neighboring properties will see little to no detrimental effects from this proposed development. The community is certainly growing and a need for more housing and housing choices certainly comes along with the anticipated growth. Staff believes this area has a great potential for infill development or both commercial and residential opportunities. A multi- family development will serve as a transition between zoning districts and will help to ensure consistent development patterns in this area. This region of town has some commercial uses and lower density residential zoning and development in place currently. This mix of housing choices in the region will help to solidify the development patterns and be highly consistent with the goals of the Comprehensive Plan in staff's opinion. The commercial zoning present along Houston Harte and Arden Road will need a population base to develop successfully in staff's opinion. Allowing for a multi-family development in this area would add population that can utilize the existing businesses, and also has the potential to create demand for new businesses. This relationship between commercial and residential properties in this area can be promoted and protected further by introducing this Planned Development District to serve as a transition and a compliment to current and future development for the area. The draft ordinance accompanying this report is designed in a manner that ensures that the plans and renderings submitted will occur on this property. Due to the nature of the Planned Development, any deviations in design or layout of the site would require rehearing. Staff believes a project of this size and scale in this area, the design and site layout are essential. The site plan allows for circulation inside and outside the site in a logical, orderly pattern; in addition the renderings of the buildings and proposed 6
  • 147.
    materials are aestheticallypleasing and will be a compliment to the area in staff's opinion. Proposed Conditions Conditions of the Planned Development are listed in the draft ordinance at the end of this report in sections 5 through 14. Attachments: excerpt from zoning map, showing the general location within the City of San Angelo; excerpt from zoning map, highlighting subject property; aerial photo, highlighting subject property; excerpt from the comprehensive plan vision map highlighting the subject property; draft minute excerpt from the February 18, 2013 Planning Commission meeting; draft ordinance with site plan; and large scale site plan. Presentation: AJ Fawver, AICP Interim Director of Development Services 7
  • 149.
  • 150.
  • 151.
  • 152.
    B. PD 13-01:West Company/ Granger Macdonald A request for approval of a zone change from a combination of Single-Family Residential (RS-1) and General Commercial (CG) to Planned Development (PD) to specifically allow for multi-family living and a lease house /amenity center on the following property: an unaddressed 9.8 acre property out of approximately 75 acres currently described as Section 3, Arden Acres, which is located adjacent to and directly west of the intersection of Northwest Drive and Green Hill Road. The property specifically occupies a proposed Second Replat of Arden Acres, Section Three, Block 3, Tract 3 in western San Angelo. Jeff Hintz, Planner, came forward to present this request, consistent with the staff recommendation of approval. He gave some background about the property, highlighting the classification for the property in the Vision Plan Map ("Commercial"). The area is surrounded by commercial properties, and there is some undeveloped property, as well as ball fields to the west. The area was annexed in 1997. Mr. Hintz reviewed the criteria required to be considered as part of zone change requests. The request is consistent with the City's plans, policies and ordinances and is compatible with the surrounding area. An Urban Design Review was required due to the size of the planned construction, and this UDR has been approved by the Interim Director/Planning Manager. This less intensive zoning will provide a better transition than the stark commercial to low-intensity residential change that exists today. The platting process will handle storm water requirements and other development-related standards. The Comprehensive Plan speaks to improving the relationship between adjacent commercial and residential land use adjacencies, which staff finds this plan actually does. This property also provides flexibility of design, meets the traffic capabilities of the area, and provides infill development. The PD is the most predictable type of zoning district, as a custom zoning ordinance is crafted for the use. Mr. Hintz addressed the community need - providing a diverse mix of housing, and that it is far less intensive than the current zoning allows. Mr. Hintz showed the planned subdivision plat and the UDR that was approved by the staff members. The concept plan for the ordinance, illustrating the layout of residential buildings on this tract. The proposed PD ordinance only allows for multi- family living and an amenity center. The development is in accordance with the standards of the Zoning Ordinance. Signage will match the materials of the dwelling units, and pole signs are strictly prohibited. Landscaping will be providing, and a wrought iron fence with brick columns will surround the exterior of the site along the boundaries. Sidewalks are also proposed, so it certainly makes this area a walkable one. Mr. Hintz offered to answer any other questions or get into the details of the ordinance more, but the Commission had no additional questions. Justin McDonald, representing the applicant, came forward to answer any questions the Commission had, and complimented the staff on their presentation. Mr. Wynne asked for the number of units, and Mr. McDonald stated that there are 176 units planned. Jennifer Boggs asked about the mix of units. Mr. McDonald mentioned that the units will be a mix of 1b/1b, 2b/2b, and 3b/2b. Mr. Hintz answered
  • 153.
    specifically the numberof units that are allocated for each group. Mr. McDonald mentioned that they also handled the apartment complex on Irene Street, and that it will somewhat resemble those units. No one else came forward to speak. Motion, to approve as presented, was made by Darlene Jones and seconded by Jennifer Boggs. The motion passed unanimously, 5-0.
  • 154.
    AN ORDINANCE AMENDINGCHAPTER 12, EXHIBIT “A” OF THE CODE OF ORDINANCES, CITY OF SAN ANGELO, TEXAS, WHICH SAID EXHIBIT “A” OF CHAPTER 12 ADOPTS ZONING REGULATIONS, USE DISTRICTS AND A ZONING MAP, IN ACCORDANCE WITH A COMPREHENSIVE PLAN, BY CHANGING THE ZONING AND CLASSIFICATION OF THE FOLLOWING PROPERTY, TO WIT: an unaddressed 9.8 acre property out of approximately 75 acres currently described as Section 3, Arden Acres, which is located adjacent to and directly west of the intersection of Northwest Drive and Green Hill Road. The property specifically occupies a proposed Second Replat of Arden Acres, Section Three, Block 3, Tract 3 in western San Angelo, changing the zoning classification from a combination of Single-Family Residential (RS-1) and General Commercial (CG) to Planned Development (PD) District; PROVIDING FOR SEVERABILITY AND PROVIDING A PENALTY RE: PD 13-01: West Company/Granger Macdonald WHEREAS, the Planning Commission for the City of San Angelo and the governing body for the City of San Angelo, in compliance with the charter and the state law with reference to zoning regulations and a zoning map, have given requisite notice by publication and otherwise, and after holding hearings and affording a full and fair hearing to all property owners and persons interested, generally, and to persons situated in the affected area and in the vicinity thereof, is of the opinion that zoning changes should be made as set out herein; NOW THEREFORE, BE IT ORDAINED BY THE CITY OF SAN ANGELO: SECTION 1: That the basic zoning ordinance for the City of San Angelo, as enacted by the governing body for the City of San Angelo on January 4, 2000 and included within Chapter 12 of the Code of Ordinances for the City of San Angelo, be and the same is hereby amended insofar as the property hereinafter set forth, and said ordinance generally and the zoning map shall be amended insofar as the property hereinafter described: an unaddressed 9.8 acre property out of approximately 75 acres currently described as Section 3, Arden Acres, which is located adjacent to and directly west of the intersection of Northwest Drive and Green Hill Road in western San Angelo shall henceforth be permanently zoned as follows: Planned Development (PD) District allowing for multi-family living and a lease house/amenity center. The Director of Planning is hereby directed to correct zoning district maps in the office of the Director of Planning, to reflect the herein described changes in zoning. SECTION 2: That in all other respects, the use of the hereinabove described property shall be subject to all applicable regulations contained in Chapter 12 of the Code of Ordinances for the City of San Angelo, as amended.
  • 155.
    SECTION 3: Thatthe following severability clause is adopted with this amendment: SEVERABILITY: The terms and provisions of this Ordinance shall be deemed to be severable in that, if any portion of this Ordinance shall be declared to be invalid, the same shall not affect the validity of the other provisions of this Ordinance. SECTION 4: That the following penalty clause is adopted with this amendment: PENALTY: Any person who violates any provisions of this article shall be guilty of a misdemeanor and, upon conviction, shall be subject to a fine as provided for in Section 1.106 of the Code of Ordinances for the City of San Angelo. Each day of such violation shall constitute a separate offense. SECTION 5: Except as otherwise specified or limited below, the use and development of the subject property shall generally conform to a High Rise Multi-Family Residence (RM-2) zoning district unless specified as otherwise within this ordinance. All activities shall be limited to those associated with multi-family living, lease house/amenities center. SECTION 6: Overall site use shall be in accordance with the map shown as Exhibit A of this Ordinance. Changes to the usage of this property shall be approved through an amendment to this Planned Development District with approval from the Planning Commission and City Council. SECTION 7: Design of the buildings, coloring, and materials shall conform to the conditional approval given (see Urban Design Review 13-01) approved by the Planning Director on February 8, 2013 and as maintained on file in the offices of the Planning Division. SECTION 8: The following uses are allowed on the subject property, and shall include: 1. Apartment dwelling units for "Household Living" as defined in section 313.B.1 of the Zoning Ordinance. 2. Offices are to be used solely for the management of the units developed on this site as shown on the concept plan. 3. Incidental accessory uses are intended for tenants and their guests only; this includes laundry facilities, lease house/amenities center, and recreational areas. SECTION 9: Signage shall be allowed within this Planned Development District, provided it meets all of the following criteria:
  • 156.
    1. On-site signageshall be limited to free-standing (specifically monument) types only. Pole signage is expressly prohibited. 2. Internally illuminated signage is expressly prohibited. 3. All signage shall be constructed from the same materials and colors approved in the conditional approval given (see Urban Design Review 13-01) approved by the Planning Director on February 8, 2013 and as maintained on file in the offices of the Planning Division. 4. Quantity of signage, area of signage, and placement of signage shall be as directed within the Sign Ordinance for the City of San Angelo. SECTION 10: Fencing around the exterior of the site and the pool area shall be of wrought iron with masonry and stone columns consistent with the conditional approval given (see Urban Design Review 13-01) approved by the Planning Director on February 8, 2013 and as maintained on file in the offices of the Planning Division. Other usage of fencing material for screening purposes, within the confines of the concept plan for this Planned Development shall be in accordance with the standards set forth in Section 509 of the Zoning Ordinance. SECTION 11: Parking standards within this Planned Development District shall be as follows: 1. One bedroom apartments shall have 1.5 parking spaces per unit. 2. Two bedroom apartments shall have 1.75 parking spaces per unit 3. Three bedroom apartments shall have 2.0 parking spaces per unit. 4. Areas used for the rental office shall have 1 parking space per 300 square feet gross of office space. 5. Design standards for the parking spaces shall be in accordance with Section 511 of the Zoning Ordinance. Section 511.G of the Zoning Ordinance defines dimensions and maneuvering room. Section 511.F of the Zoning Ordinance defines the maintenance of parking facilities. SECTION 12: The sidewalks as shown on the graphic concept plan identified in Exhibit A shall be no less than four feet in width, shall be installed prior to the issuance of a certificate of occupancy, and shall meet all ADA accessibility standards. SECTION 13: No outdoor storage shall be allowed within the boundaries of this Planned Development District.
  • 157.
    SECTION 14: ThisPlanned Development district shall not be added to the Official Zoning Map for the City of San Angelo, until the replat establishing Tract 3, Block 3, in Section Three of the Arden Acres is recorded with the Tom Green County Clerk. INTRODUCED on the 5th day of March, 2013 and finally PASSED, APPROVED AND ADOPTED on this the 19th day of March, 2013. THE CITY OF SAN ANGELO ____________________________________ Alvin New, Mayor ATTEST: ________________________________ Alicia Ramirez, City Clerk Approved As To Content: Approved As To Form: _________________________ ________________________ AJ Fawver, Interim Director of Lysia H. Bowling, City Attorney Development Services
  • 158.
  • 160.
    City of SanAngelo Memo Meeting Date: February 19, 2013 To: City Council members From: Roxanne Johnston, Planner Subject: Z13-02: Debbie Clark. A request for approval of a zone change from Single-Family Residential (RS-1) to Two-Family Residential (RS-2) to specifically allow for “Household Living” as allowed in RS-2 zoning districts on the following property: Location: 2008 Beacon Street, located on the northeast corner of the intersection of Beacon Street and Montague Avenue. This property specifically occupies the Avondale Addition, Block 10, Lots 15-20, in central San Angelo. Purpose: Approval or modification of this request by the Planning Commission would forward the recommendation to City Council for a final decision on the matter. Contacts: Debbie Clark 325-659-3901 Roxanne Johnston, Planner 325-657-4210 Caption: First Public Hearing and consideration of introduction of an Ordinance amending Chapter 12, Exhibit “A” (Zoning Ordinance) of the Code of Ordinances, City of San Angelo Z 13-02: Debbie Clark AN ORDINANCE AMENDING CHAPTER 12, EXHIBIT “A” OF THE CODE OF ORDINANCES, CITY OF SAN ANGELO, TEXAS, WHICH SAID EXHIBIT “A” OF CHAPTER 12 ADOPTS ZONING REGULATIONS, USE DISTRICTS AND A ZONING MAP, IN ACCORDANCE WITH A COMPREHENSIVE PLAN, BY CHANGING
  • 161.
    THE ZONING ANDCLASSIFICATION OF THE FOLLOWING PROPERTY, TO WIT: 2008 Beacon Street, located on the northeast corner of the intersection of Beacon Street and Montague Avenue. This property specifically occupies the Avondale Addition, Block 10, Lots 15-20, in central San Angelo, changing the zoning classification from a Single-Family Residential (RS-1) to a Two-Family Residential (RS-2) District; PROVIDING FOR SEVERABILITY AND PROVIDING A PENALTY Summary: The City Council may: (1) Approve this zone change request from RS-1 to RS-2 which would allow for “Household Living” as allowed in RS-2 zoning districts; or (2) Modify the application to some alternative zoning classification believed to be more appropriate; or (3) Deny this zoning request from RS-1 to RS-2. Recommendation: City staff recommends approving the proposed zone change. On January 28, 2013, the Planning Commission recommended approval of this request by a unanimous vote of 5-0. History and Background: General Information Existing Zoning: Single Family Residential (RS-1) Existing Land Use: Vacant property, vacant residence Surrounding Zoning/Land Use: North: RS-1 Residential West: RS-1 & RS-2 Residential South: RS-1 & OW Residential & vacant property East: RS-1 & CO Residential & vacant property Thoroughfares/Streets: Montague Avenue is defined as a “major collector” and is designed to carry traffic at
  • 162.
    moderate speeds toconnect arterials to local streets Beacon Street is defined as a “local street” which carries light neighborhood traffic at lower speeds and generally connects to collector streets. Zoning History: The property has been a part of the city limits since at least 1949 with little change in zoning and use to the immediate area. Applicable Regulations: Allowed uses for this property can be found in Section 310 (Use Table) of the Zoning Ordinance. Section 511.B of the Zoning Ordinance requires two off-street parking spaces per dwelling unit. Development Standards: Residential development setbacks are outlined in Section 501 of the Zoning Ordinance. All required off-street parking and the connection(s) to a public right-of-way are required to be paved as defined in Section 511.F.3 of the Zoning Ordinance. Vision Plan Map: Neighborhood for the subject properties with a Transitional Zone located directly south on Beacon Street as a buffer to Commercial envisioned areas further south. Related Comp Plan Excerpts: “Create new physical connections to neighborhoods lined with transitional and intermediate uses." "Promote neighborhood diversity and security by encouraging a mix of age, income, and housing choices within San Angelo's neighborhoods.” "Encourage in-fill development sensitive to the existing and desired content of the area” “Encourage the re-use of vacant buildings in the city. Carefully integrate new uses into older
  • 163.
    areas, in amanner that encourages comfort, accessibility, efficiency and aesthetic gratification for resident and visitor alike.” “All residents within each neighborhood boundary should be able to meet their daily needs within a reasonable and accessible distance from their home.” "Variety of residential product types - multi-family, townhomes, courtyard homes, patio homes, etc." Establish transition areas to better "scale- down" intensity of use from commercial centers to neighborhoods." Special Information Traffic Concerns: Changing the zoning to RS-2 will create little impact on the volume of traffic than if the property remained as-is, being that 4 of the lots are vacant at this time. Parking Requirements: New residential units require a minimum of two off-street parking spaces. All areas used for off-street parking shall be paved, per Section 511.F.3 of the Zoning Ordinance. Parking Provided: No paved parking spots at this time. Density: Surrounding uses are predominately of a low density residential nature. There are many vacant lots in the area. Notification Required: Yes Notifications Sent: 22 Responses in Favor: 3 Responses in Opposition: 0 Analysis: In order to approve this Zone change request, City Council members are first required to consider the following criteria:
  • 164.
    1. Compatible withPlans and Policies. Whether the proposed amendment is compatible with the Comprehensive Plan and any other land use policies adopted by the Planning Commission or City Council. 2. Consistent with Zoning Ordinance. Whether and the extent to which the proposed amendment would conflict with any portion of this Zoning Ordinance. 3. Compatible with Surrounding Area. Whether and the extent to which the proposed amendment is compatible with existing and proposed uses surrounding the subject land and is the appropriate zoning district for the land. 4. Changed Conditions. Whether and the extent to which there are changed conditions that require an amendment. 5. Effect on Natural Environment. Whether and the extent to which the proposed amendment would result in significant adverse impacts on the natural environment, including but not limited to water and air quality, noise, storm water management, wildlife, vegetation, wetlands and the practical functioning of the natural environment. 6. Community Need. Whether and the extent to which the proposed amendment addresses a demonstrated community need. 7. Development Patterns. Whether and the extent to which the proposed amendment would result in a logical and orderly pattern of urban development in the community. The staff recommendation is based upon the statements listed below. The applicant stated to Planning Staff that she wished to re-zone so that she could convert an existing vacant building into a duplex. This zone change request from RS-1 to RS-2 is a only a slight change from current zoning and Staff feels that the proposed change is in keeping with the 7 criteria listed above, all of which will be explained in the following. A zone change to RS-2 will allow the owner and future owners to enjoy the same residential uses that are allowed by right as current zoning with just one exception. Essentially, the only difference is that it allows a two family residence or accessory apartment on the property. Because of this minute difference, the proposed zone change is consistent with both the Zoning Ordinance and the Comprehensive Plan. Again, since there is little change from its current zoning the immediate area will remain residential. The proposed zone change area lies amid an older, more established low-density residential area with large sections of undeveloped land nearby to the east and north. Beacon Street dead ends
  • 165.
    about 200 feeteast of the property. As a major collector, Montague Street is situated west of the subject property and ties into East Houston Harte Expressway, located approximately 390 feet south of the property. The Comprehensive Plan calls for residential areas to be typified by a mix of housing stock, which in this case refers to the addition of a duplex, and for housing to be in close proximity to commercial zones, which is also the case here. Two different uses were introduced nearby; in 1982, an area approximately 155 feet west of the subject property was re-zoned from RS-1 to RS-2 to allow for a duplex. In 1985, Special Permit 1122 was given to allow for “a mobile home to be owner family occupied and to have two residences on one zoning lot.” These illustrate a precedence by the City Council to allow a mix of housing stock to the area, which was and still is in keeping with the Comprehensive Plan as would allowing an additional zone change from RS-1 to RS-2 in this area. Conditions would remain relatively the same or may even improve should the zone change be approved. There are several vacant lots in and around the subject property. The Vision Plan calls for the subject property to remain as ‘Neighborhood’ in nature with a “Transitional” zoning district directly to the south. This “Transitional” zone creates a buffer between commercial areas further south, which is an ideal situation in terms of the Vision Plan. Therefore, the zone change request is consistent with aspects of the Vision Plan and will most certainly have a positive impact on current and future land uses. RS-2 zoning here for a duplex could also encourage redevelopment and provide encouragement for future neighborhood development that would be compatible with surrounding uses, including Holiman Elementary School to the north of this neighborhood and Producer’s Park to the northwest. This zoning request would have minimal negative impacts on the natural environment, again, since there is a little change between RS-1 and RS-2 uses. The only perceivable difference would be that a minimum of two paved parking spaces per dwelling unit and the access from the street to them are required per Section 511 of the Ordinance, but this would cause overall minimal runoff to the area as would the construction of a larger building footprint. These would most likely not negatively affect neighboring properties. San Angelo is experiencing a need for increased housing stock as our population has been increasing. According to the United States Department of Commerce, population increased by nearly 5,000 between the years 2000 and 2010. 1 In this instance, an existing vacant house would be repurposed to provide more housing to assist with community need, so Criteria 6 would be met should the zone change be approved. Smart Also addressing community need is this: the proposed area is situated in what contains several potential components of a walk-able community from a Smart 1 www.quickfacts.census.gov (accessed 01/18/13).
  • 166.
    Growth point ofview. Smart Growth, can be defined as “development that serves the economy, the community and the environment”2 and promotes strong neighborhoods through choices in transportation and housing. Smart Growth also offers a higher level of social interaction, reduced emissions caused by automobile travel and greater opportunities for physical opportunity that are brought about by higher pedestrian and bicycling uses. Both Holiman Elementary north on Montague Street and Producer’s Park to the northwest off of Magnolia Street are located less than 1/3 of a mile from the subject property. Commercial access exists less than a half a mile west from the subject property along Bell Street. These are just three examples of current locations that area residents have reasonable pedestrian and bicycle access to. In addition to meeting Criteria 1-6, Staff feels this request is in keeping with Criteria 7. A rezone to RS-2 is most certainly a logical progression in terms of development patterns. Again, the change is very slight from the current zoning and the Vision Plan calls for the area to remain residential. A rezone to RS-2 would have little negative impact on the area, if any, and again, could help encourage future development in a predictable, orderly manner which is exactly the intent of the Comprehensive Plan and Zoning Ordinance. Proposed Conditions N/A Attachments: Excerpt from zoning map, showing the general location within the City of San Angelo; excerpt from zoning map, highlighting subject property; aerial photo, highlighting subject property; excerpt from the Comprehensive Plan Vision map highlighting the subject property; and notification map highlighting responses from neighboring properties. citizen response letters; draft minutes from January 28, 2013 Planning Commission meeting; and 2 www.smartgrowthpa.org (accessed 01/22/13).
  • 167.
    draft Ordinance. Presentation: Roxanne Johnston, Planner Reviewed by: Jeff Hintz, Interim Senior Planner (01/21/13)
  • 168.
    AN ORDINANCE AMENDINGCHAPTER 12, EXHIBIT “A” OF THE CODE OF ORDINANCES, CITY OF SAN ANGELO, TEXAS, WHICH SAID EXHIBIT “A” OF CHAPTER 12 ADOPTS ZONING REGULATIONS, USE DISTRICTS AND A ZONING MAP, IN ACCORDANCE WITH A COMPREHENSIVE PLAN, BY CHANGING THE ZONING AND CLASSIFICATION OF THE FOLLOWING PROPERTY, TO WIT: 2008 Beacon Street, located on the northeast corner of the intersection of Beacon Street and Montague Avenue. This property specifically occupies the Avondale Addition, Block 10, Lots 15-20, in central San Angelo; changing the zoning classification from a Single-Family Residential (RS-1) to a Two-Family Residential (RS-2) District; PROVIDING FOR SEVERABILITY AND PROVIDING A PENALTY RE: Z 13-02: Debbie Clark WHEREAS, the Planning Commission for the City of San Angelo and the governing body for the City of San Angelo, in compliance with the charter and the state law with reference to zoning regulations and a zoning map, have given requisite notice by publication and otherwise, and after holding hearings and affording a full and fair hearing to all property owners and persons interested, generally, and to persons situated in the affected area and in the vicinity thereof, is of the opinion that zoning changes should be made as set out herein; NOW THEREFORE, BE IT ORDAINED BY THE CITY OF SAN ANGELO: SECTION 1: That the basic zoning ordinance for the City of San Angelo, as enacted by the governing body for the City of San Angelo on January 4, 2000 and included within Chapter 12 of the Code of Ordinances for the City of San Angelo, be and the same is hereby amended insofar as the property hereinafter set forth, and said ordinance generally and the zoning map shall be amended insofar as the property hereinafter described: 2008 Beacon Street, located on the northeast corner of the intersection of Beacon Street and Montague Avenue. This property specifically occupies the Avondale Addition, Block 10, Lots 15-20, in central San Angelo, shall henceforth be permanently zoned as follows: Two- Family Residential (RS-2) District. The Director of Planning is hereby directed to correct zoning district maps in the office of the Director of Planning, to reflect the herein described changes in zoning. SECTION 2: That in all other respects, the use of the hereinabove described property shall be subject to all applicable regulations contained in Chapter 12 of the Code of Ordinances for the City of San Angelo, as amended. SECTION 3: That the following severability clause is adopted with this amendment:
  • 169.
    SEVERABILITY: The terms and provisions of this Ordinance shall be deemed to be severable in that, if any portion of this Ordinance shall be declared to be invalid, the same shall not affect the validity of the other provisions of this Ordinance. SECTION 4: That the following penalty clause is adopted with this amendment: PENALTY: Any person who violates any provisions of this article shall be guilty of a misdemeanor and, upon conviction, shall be subject to a fine as provided for in Section 1.106 of the Code of Ordinances for the City of San Angelo. Each day of such violation shall constitute a separate offense. INTRODUCED on the 19th day of February, 2013 and finally PASSED, APPROVED AND ADOPTED on this the 5th day of March, 2013. THE CITY OF SAN ANGELO ____________________________________ Alvin New, Mayor ATTEST: ________________________________ Alicia Ramirez, City Clerk Approved As To Content: Approved As To Form: _________________________ ________________________
  • 170.
    AJ Fawver, PlanningManager Lysia H. Bowling, City Attorney
  • 179.
    MINUTE RECORD OFTHE CITY OF SAN ANGELO PLANNING COMMISSION MEETING HELD ON MONDAY, October 15, 2012 AT 9:00 AM IN THE SOUTH MEETING ROOM OF THE SAN ANGELO CONVENTION CENTER, 500 RIO CONCHO DRIVE, SAN ANGELO, TEXAS PRESENT: Joe Grimes, Bill Lawrence, Jennifer Boggs, Darlene Jones, Bill Wynne ABSENT: Sebastian Guerrero (AE), Sam Tambunga (AE) STAFF: AJ Fawver, Planning Manager Jeff Hintz, Planner Kevin Boyd, Planner Roxanne Johnston, Planner B. Z 13-02: Debbie Clark A request for approval of a zone change from Single-Family Residential (RS- 1) to Two-Family Residential (RS-2) to specifically allow for “Household Living” as allowed in RS-2 zoning districts on the following property: 2008 Beacon Street, located on the northeast corner of the intersection of Beacon Street and Montague Avenue. This property specifically occupies the Avondale Addition, Block 10, Lots 15-20, in central San Angelo. Roxanne Johnston came forward to present this item, consistent with the staff recommendation of approval. There were 22 notifications sent out, with 3 returned in favor and 0 returned in opposition of the request. She showed a series of maps to the Commission members, illustrating the area in which the subject property is located. She illustrated the tracts representing owners who were in favor of this request. Ms. Johnston also reviewed the criteria of approval which the Zoning Ordinance requires to be considered in all zone change cases. Ms. Johnston discussed that the Comprehensive Plan discusses establishing a mix of housing within neighborhoods and encourages "neighborhood" development in this area, which staff feels this would meet. This is especially so when realizing that there is an area for "transitional" development immediately adjacent to the property. The area is largely developed in a traditional neighborhood style, with infrastructure and a street network largely reflective of - and appropriate for -
  • 180.
    this type ofdevelopment. There is a school in this neighborhood area, along with a city park. There are a few businesses in the area that help promote a walkable community. Staff feels a minor change in land use fits in and meets all of the criteria which are required for consideration in this area as outlined in the Comprehensive Plan. There were no questions for Ms. Johnston. Debbie Clark, the proponent, came forward to speak in favor of this request. She would like to develop this area now and in the future. There was no one else in attendance who desired to speak on this item. Motion, to approve as presented, was made by Bill Wynne and seconded by Jennifer Boggs. Motion passed unanimously, 5-0.
  • 181.
    AN ORDINANCE AMENDINGCHAPTER 12, EXHIBIT “A” OF THE CODE OF ORDINANCES, CITY OF SAN ANGELO, TEXAS, WHICH SAID EXHIBIT “A” OF CHAPTER 12 ADOPTS ZONING REGULATIONS, USE DISTRICTS AND A ZONING MAP, IN ACCORDANCE WITH A COMPREHENSIVE PLAN, BY CHANGING THE ZONING AND CLASSIFICATION OF THE FOLLOWING PROPERTY, TO WIT: 2008 Beacon Street, located on the northeast corner of the intersection of Beacon Street and Montague Avenue. This property specifically occupies the Avondale Addition, Block 10, Lots 15-20, in central San Angelo; changing the zoning classification from a Single-Family Residential (RS-1) to a Two-Family Residential (RS-2) District; PROVIDING FOR SEVERABILITY AND PROVIDING A PENALTY RE: Z 13-02: Debbie Clark WHEREAS, the Planning Commission for the City of San Angelo and the governing body for the City of San Angelo, in compliance with the charter and the state law with reference to zoning regulations and a zoning map, have given requisite notice by publication and otherwise, and after holding hearings and affording a full and fair hearing to all property owners and persons interested, generally, and to persons situated in the affected area and in the vicinity thereof, is of the opinion that zoning changes should be made as set out herein; NOW THEREFORE, BE IT ORDAINED BY THE CITY OF SAN ANGELO: SECTION 1: That the basic zoning ordinance for the City of San Angelo, as enacted by the governing body for the City of San Angelo on January 4, 2000 and included within Chapter 12 of the Code of Ordinances for the City of San Angelo, be and the same is hereby amended insofar as the property hereinafter set forth, and said ordinance generally and the zoning map shall be amended insofar as the property hereinafter described: 2008 Beacon Street, located on the northeast corner of the intersection of Beacon Street and Montague Avenue. This property specifically occupies the Avondale Addition, Block 10, Lots 15-20, in central San Angelo, shall henceforth be permanently zoned as follows: Two- Family Residential (RS-2) District. The Director of Planning is hereby directed to correct zoning district maps in the office of the Director of Planning, to reflect the herein described changes in zoning. SECTION 2: That in all other respects, the use of the hereinabove described property shall be subject to all applicable regulations contained in Chapter 12 of the Code of Ordinances for the City of San Angelo, as amended. SECTION 3: That the following severability clause is adopted with this amendment: SEVERABILITY:
  • 182.
    The terms andprovisions of this Ordinance shall be deemed to be severable in that, if any portion of this Ordinance shall be declared to be invalid, the same shall not affect the validity of the other provisions of this Ordinance. SECTION 4: That the following penalty clause is adopted with this amendment: PENALTY: Any person who violates any provisions of this article shall be guilty of a misdemeanor and, upon conviction, shall be subject to a fine as provided for in Section 1.106 of the Code of Ordinances for the City of San Angelo. Each day of such violation shall constitute a separate offense. INTRODUCED on the 19th day of February, 2013 and finally PASSED, APPROVED AND ADOPTED on this the 5th day of March, 2013. THE CITY OF SAN ANGELO ____________________________________ Alvin New, Mayor ATTEST: ________________________________ Alicia Ramirez, City Clerk Approved As To Content: Approved As To Form: _________________________ ________________________ AJ Fawver, Planning Manager Lysia H. Bowling, City Attorney
  • 183.
    City of San Angelo Memo Meeting Date: February 19, 2013 To: City Council members From: Jeff Hintz, Interim Senior Planner Subject: Z 13-03 Tom Green County: A request for approval of a zone change from Single-Family Residential (RS-1) to Neighborhood Commercial (CN) to specifically allow for commercial opportunities as allowed in CN zoning districts on the following property: Location: 318 North Bell Street, located on the northeast corner of the intersection of North Bell Street and Spaulding Street. This property specifically occupies the Bell Addition, Block 9, 2.35 acres in the southwest corner of Block 9, in north central San Angelo. Purpose: Approval of this request would zone the property Neighborhood Commercial (CN) Contacts: Judge Michael D. Brown 325-653-3318 Jeff Hintz, Planner 325-657-4210 Caption: First Public Hearing and consideration of introduction of an Ordinance amending Chapter 12, Exhibit “A” (Zoning Ordinance) of the Code of Ordinances, City of San Angelo Z 13-03: Tom Green County AN ORDINANCE AMENDING CHAPTER 12, EXHIBIT “A” OF THE CODE OF ORDINANCES, CITY OF SAN ANGELO, TEXAS, WHICH SAID EXHIBIT “A” OF CHAPTER 12 ADOPTS ZONING REGULATIONS, USE DISTRICTS AND A ZONING MAP, IN ACCORDANCE WITH A
  • 184.
    COMPREHENSIVE PLAN, BYCHANGING THE ZONING AND CLASSIFICATION OF THE FOLLOWING PROPERTY, TO WIT: 318 North Bell Street, located on the northeast corner of the intersection of North Bell Street and Spaulding Street. This property specifically occupies the Bell Addition, Block 9, 2.35 acres in the southwest corner of Block 9, in north central San Angelo, changing the zoning classification from Single-Family Residential (RS-1) to Neighborhood Commercial (CN) District; PROVIDING FOR SEVERABILITY AND PROVIDING A PENALTY Summary: The City Council may: (1) Approve the proposed zone change; or (2) Remand the application back to Planning Commission for further discussion, in which case another public hearing will need to be scheduled; or (3) Deny the proposed zone change. Recommendation: Planning staff recommends approving the proposed zone change. The Planning Commission recommended approval of this request 5-0 at the January 28, 2013 Meeting. History and Background: General Information Existing Zoning: Single-Family Residential (RS-1) Existing Land Use: Vacant office building and parking lot Surrounding Zoning/Land Use: North: CG/CH Various retail establishments West: RS-1 Mobile Home Park South: RS-1 Church & single-family residences East: CN & RS-1 Church & single-family residences
  • 185.
    Thoroughfares/Streets: Pulliam Street & North Bell Street are defined as "arterial streets," and designed to connect collector streets to freeways and other arterials carrying large volumes of traffic at high speeds. Access is secondary and mobility is the primary function of these streets. Zoning History: Special Permit 200 approved in August of 1966 allowed the construction of a "welfare building" in an RS-1 zoning district. Applicable Regulations: Allowed uses for this property can be found in Section 310 (Use Table) of the Zoning Ordinance Development Standards: Section 502 of the Zoning Ordinance covers general development standards for the property. In CN districts, “Type 1 Outdoor Display shall be allowed adjacent to a principal building wall and extending to a distance no greater than 5 feet from the wall. Such storage shall not be permitted to block windows, entrances or exits, and shall not impair the ability of pedestrians to use the building.” Vision Plan Map: Neighborhood Center Comp Plan Excerpts: Within the Comprehensive Plan, Goal 3 of “Neighborhoods” is to “improve the relationship between adjacent commercial and residential properties”. CG/CH zoning currently borders the RS-1 properties, a CN zoning would be a more suitable and less harsh buffer between the two. “Commercial properties tend to be organized in a single use, isolated pattern of development. This form generates little synergy between businesses and land uses and often results in incompatibility.” “All residents within each neighborhood boundary should be able to meet their daily needs within a reasonable and accessible distance from their home.”
  • 186.
    “Promote better transitionbetween nearby commercial and residential use of land and buildings.” “Rezone or remove any CG/CH zoning from adjacent to existing neighborhoods." “Require a buffer separating commercial, industrial, or agricultural zoned lands from neighborhoods.” “Establish transition areas between commercial areas and nearby neighborhoods.” “Organize commercial uses in nodes to avoid deteriorating corridors.” Special Information Traffic Concerns: Changing the zoning from residential to commercial generally will add traffic to an area, however given the past zoning history on the property, this residential property has functioned as commercial property for decades. Parking Requirements: Section 511 of the Zoning Ordinance covers parking standards and requirements vary by proposed usage(s). Parking Provided: It appears off-street parking is available on this lot; the number of spots will depend upon lot orientation and future building configuration. Density: This general area is of medium density residential and higher intensity commercial uses that are of a lower density. Notification Required: Yes Notifications Sent: 17 Responses in Favor: 0 Responses in Opposition: 0
  • 187.
    Analysis: In order to approve this zone change request, the City Council members are first required to consider the following criteria: 1. Compatible with Plans and Policies. Whether the proposed amendment is compatible with the Comprehensive Plan and any other land use policies adopted by the Planning Commission or City Council. 2. Consistent with Zoning Ordinance. Whether and the extent to which the proposed amendment would conflict with any portion of this Zoning Ordinance. 3. Compatible with Surrounding Area. Whether and the extent to which the proposed amendment is compatible with existing and proposed uses surrounding the subject land and is the appropriate zoning district for the land. 4. Changed Conditions. Whether and the extent to which there are changed conditions that require an amendment. 5. Effect on Natural Environment. Whether and the extent to which the proposed amendment would result in significant adverse impacts on the natural environment, including but not limited to water and air quality, noise, storm water management, wildlife, vegetation, wetlands and the practical functioning of the natural environment. 6. Community Need. Whether and the extent to which the proposed amendment addresses a demonstrated community need. 7. Development Patterns. Whether and the extent to which the proposed amendment would result in a logical and orderly pattern of urban development in the community. The staff recommendation is based upon the statements listed below. In looking at this proposal, Planning staff has found that a CN zoning district is compatible with the plans and policies in place for the community and that the zone change is consistent with the zoning ordinance. This particular property has functioned as a public building in some fashion for nearly 50 years despite the RS-1 zoning. This area between Pulliam Street and Koberlin Street is a mixed use are with a multitude of varying uses. Houses, churches, and some lower intensity commercial opportunities make sense; the plans and policies in place for the community recognize this need for neighborhood serving businesses that a CN zoning district will allow for. Introducing a more intensive zoning district would not be appropriate for this area given the intensive land uses allowed for in CG/CH zoning that is present on
  • 188.
    Pulliam. A CNzoning designation will provide a suitable buffer into the neighborhoods that are prevalent to the south of this subject property without diminishing the ability for this property to develop. At the same time, a CN zone will also allow the responsible and sustainable development of the neighborhoods to the south. This zone change request is certainly in line with the intent of the Zoning Ordinance as responsible & predictable development for properties both new and in the future is exactly the intent of the Zoning Ordinance. Staff believes that the CN zoning in this area is compatible with the surrounding area; as previously mentioned, the lower intensity commercial opportunities that are allowed within this zoning district have high potential to be an asset to the neighborhood in both the short and long term. While not all types of commercial activities would be appropriate for this particular property (given the proximity to the neighborhood, churches, and other lower intensity businesses) staff believes some lower intensity neighborhood serving businesses would be a fit that is compatible with the surrounding area. Several properties to the south of this general area provide prime opportunities for some infill development; some new businesses that serve the area may have the potential to revitalize this area and usher in the infill development. This area is envisioned within the Comprehensive Plan's Vision Map as a "Neighborhood Center." CN zoning fits in this vision. Neighborhood Center envisioned areas are designed to compliment neighborhoods with opportunities for higher density residential opportunities and some lower intensity, lower scale commercial opportunities. In this case, the Neighborhood Center envisioned area provides these development opportunities, and serves as a buffer from the "Industrial" and higher intensity "Commercial" envisioned areas just to the northwest of this area. Since this particular zone change is in harmony with the Comprehensive Plan, there is no need for an amendment to the Comprehensive Plan to approve this request. In addition, staff does not believe the impact on the natural environment will be detrimentally affected through the approval of this zone change. While some impact due to storm water runoff will certainly be taking place (since the property is already improved) staff is unable to find any other negative environmental consequences that will result from this zone change. Staff also believes this zone change request has potential to serve a community need in this particular area. Pulliam Street offers multiple opportunities for higher intensity commercial development in the CG/CH zoning district in this area, however the opportunities for neighborhood serving, walkable businesses in this area are less prevalent. From this standpoint, staff believes this proposal for CN zoning will help to fill a community need and be a benefit to the area. Staff finds that a CN zoning district on the subject property will create an orderly development pattern that is consistent with the surrounding area. As one travels
  • 189.
    south from Pulliamalong Bell Street, the character of the area is much less intense and becomes solely residential fairly quickly. Staff feels anything more intensive in this area has the potential to upset this balance and encroach into a long standing neighborhood. It should be mentioned that this neighborhood has been zoned as RS-1 since approximately 1954 and for the most part has developed as such with little commercial encroachment. Staff finds is necessary to protect and promote the current and future growth of this neighborhood; the introduction of CN zoning will allow this to occur while serving the needs of the residents of this neighborhood at the same time. Neighborhood serving, walkable businesses will serve the neighborhood in this area both now and in the future; the goals of infill, walkable development are highly in line with the City's Comprehensive Plan and sound neighborhood development principles. Staff believes this request will be a responsible addition, that is in harmony with the neighborhood and will only aid in the future development of the area. Proposed Conditions N/A Attachments: excerpt from zoning map, showing the general location within the City of San Angelo; excerpt from zoning map, highlighting subject property; aerial photo, highlighting subject property; excerpt from the Comprehensive Plan Vision Map highlighting the subject property; draft minutes from 01/28/13 Planning Commission meeting; and Draft Ordinance. Presentation: AJ Fawver, Interim Director of Development Services.
  • 194.
    C. Z 13-03:Tom Green County A request for approval of a zone change from Single-Family Residential (RS-1) to Neighborhood Commercial (CN) to specifically allow for commercial opportunities as allowed in CN zoning districts on the following property: 318 North Bell Street, located on the northeast corner of the intersection of North Bell Street and Spaulding Street. This property specifically occupies the Bell Addition, Block 9, 2.35 acres in the southwest corner of Block 9, in north central San Angelo. Jeff Hintz, Interim Senior Planner, came forward to present this request, consistent with the staff recommendation of approval. Mr. Hintz began by revealing that 17 notifications were sent out on this request, and 0 were received in favor or in opposition to this request. Mr. Hintz explained that Tom Green County is looking to sell this property. Mr. Hintz revealed that the Vision Plan map calls for "neighborhood center" at this location. A number of photographs were shown on and around the site. There are two churches in close proximity to this location, and a large neighborhood, which is mostly developed. The Comprehensive Plan encourages buffer zones to be located between commercial properties and residential neighborhoods. This property is in a prime location to provide such a buffer zone, and the proposal is consistent with that idea. There is a mix of zoning districts in the area, as well as a special permit in place which would allow a "welfare building" on the property - which is what the county utilized that site for at one time. He referred back to the criteria of approval which Ms. Johnston reviewed in depth in the previous case. Mr. Hintz also reviewed several excerpts from the city's Comprehensive Plan which supports this type of zoning at this location. This proposal is consistent with the City's plans and policies. Staff believes this type of zoning is suitable for this area and is a good fit as opposed to heavier types of commercial zoning. This does follow development patterns for this area. Staff sees little anticipated effect on the natural environment, especially when considering that the building is already constructed and in place. Bill Lawrence asked for clarification regarding the buffer zone placement at this location and addressed the opportunity for a better and more appropriate transition to be placed at this site. The "neighborhood center" is intended for higher-density residential development, and so the current zoning does not work in line with that intention. Bill Wynne stated his opinion that this would correct the zoning that has long been in place. Judge Mike Brown, with Tom Green County, came forward to speak in favor of this request. He stated that their objective is to have the zoning changed to something more marketable in order to offer it for sale down the road. The building is currently vacant. There were no other comments in favor or in opposition of the request.
  • 195.
    Motion, to approveas presented, was made by Joe Grimes and seconded by Jennifer Boggs. The motion passed unanimously, 5-0.
  • 196.
    AN ORDINANCE AMENDINGCHAPTER 12, EXHIBIT “A” OF THE CODE OF ORDINANCES, CITY OF SAN ANGELO, TEXAS, WHICH SAID EXHIBIT “A” OF CHAPTER 12 ADOPTS ZONING REGULATIONS, USE DISTRICTS AND A ZONING MAP, IN ACCORDANCE WITH A COMPREHENSIVE PLAN, BY CHANGING THE ZONING AND CLASSIFICATION OF THE FOLLOWING PROPERTY, TO WIT: 318 North Bell Street, located on the northeast corner of the intersection of North Bell Street and Spaulding Street. This property specifically occupies the Bell Addition, Block 9, 2.35 acres in the southwest corner of Block 9, in north central San Angelo, changing the zoning classification from Single-Family Residential (RS-1) to Neighborhood Commercial (CN) District; PROVIDING FOR SEVERABILITY AND PROVIDING A PENALTY RE: Z 13-03: Tom Green County WHEREAS, the Planning Commission for the City of San Angelo and the governing body for the City of San Angelo, in compliance with the charter and the state law with reference to zoning regulations and a zoning map, have given requisite notice by publication and otherwise, and after holding hearings and affording a full and fair hearing to all property owners and persons interested, generally, and to persons situated in the affected area and in the vicinity thereof, is of the opinion that zoning changes should be made as set out herein; NOW THEREFORE, BE IT ORDAINED BY THE CITY OF SAN ANGELO: SECTION 1: That the basic zoning ordinance for the City of San Angelo, as enacted by the governing body for the City of San Angelo on January 4, 2000 and included within Chapter 12 of the Code of Ordinances for the City of San Angelo, be and the same is hereby amended insofar as the property hereinafter set forth, and said ordinance generally and the zoning map shall be amended insofar as the property hereinafter described: 318 North Bell Street, located on the northeast corner of the intersection of North Bell Street and Spaulding Street. This property specifically occupies the Bell Addition, Block 9, 2.35 acres in the southwest corner of Block 9, in north central San Angelo, shall henceforth be permanently zoned as follows: Neighborhood Commercial (CN) District. The Director of Planning is hereby directed to correct zoning district maps in the office of the Director of Planning, to reflect the herein described changes in zoning. SECTION 2: That in all other respects, the use of the hereinabove described property shall be subject to all applicable regulations contained in Chapter 12 of the Code of Ordinances for the City of San Angelo, as amended.
  • 197.
    AN ORDINANCE AMENDINGCHAPTER 12, EXHIBIT “A” OF THE CODE OF ORDINANCES, CITY OF SAN ANGELO, TEXAS, WHICH SAID EXHIBIT “A” OF CHAPTER 12 ADOPTS ZONING REGULATIONS, USE DISTRICTS AND A ZONING MAP, IN ACCORDANCE WITH A COMPREHENSIVE PLAN, BY CHANGING THE ZONING AND CLASSIFICATION OF THE FOLLOWING PROPERTY, TO WIT: 318 North Bell Street, located on the northeast corner of the intersection of North Bell Street and Spaulding Street. This property specifically occupies the Bell Addition, Block 9, 2.35 acres in the southwest corner of Block 9, in north central San Angelo, changing the zoning classification from Single-Family Residential (RS-1) to Neighborhood Commercial (CN) District; PROVIDING FOR SEVERABILITY AND PROVIDING A PENALTY RE: Z 13-03: Tom Green County WHEREAS, the Planning Commission for the City of San Angelo and the governing body for the City of San Angelo, in compliance with the charter and the state law with reference to zoning regulations and a zoning map, have given requisite notice by publication and otherwise, and after holding hearings and affording a full and fair hearing to all property owners and persons interested, generally, and to persons situated in the affected area and in the vicinity thereof, is of the opinion that zoning changes should be made as set out herein; NOW THEREFORE, BE IT ORDAINED BY THE CITY OF SAN ANGELO: SECTION 1: That the basic zoning ordinance for the City of San Angelo, as enacted by the governing body for the City of San Angelo on January 4, 2000 and included within Chapter 12 of the Code of Ordinances for the City of San Angelo, be and the same is hereby amended insofar as the property hereinafter set forth, and said ordinance generally and the zoning map shall be amended insofar as the property hereinafter described: 318 North Bell Street, located on the northeast corner of the intersection of North Bell Street and Spaulding Street. This property specifically occupies the Bell Addition, Block 9, 2.35 acres in the southwest corner of Block 9, in north central San Angelo, shall henceforth be permanently zoned as follows: Neighborhood Commercial (CN) District. The Director of Planning is hereby directed to correct zoning district maps in the office of the Director of Planning, to reflect the herein described changes in zoning. SECTION 2: That in all other respects, the use of the hereinabove described property shall be subject to all applicable regulations contained in Chapter 12 of the Code of Ordinances for the City of San Angelo, as amended.
  • 198.
    SECTION 3: Thatthe following severability clause is adopted with this amendment: SEVERABILITY: The terms and provisions of this Ordinance shall be deemed to be severable in that, if any portion of this Ordinance shall be declared to be invalid, the same shall not affect the validity of the other provisions of this Ordinance. SECTION 4: That the following penalty clause is adopted with this amendment: PENALTY: Any person who violates any provisions of this article shall be guilty of a misdemeanor and, upon conviction, shall be subject to a fine as provided for in Section 1.106 of the Code of Ordinances for the City of San Angelo. Each day of such violation shall constitute a separate offense. INTRODUCED on the 19th day of February, 2013 and finally PASSED, APPROVED AND ADOPTED on this the 5th day of March, 2013. THE CITY OF SAN ANGELO ____________________________________ Alvin New, Mayor ATTEST: ________________________________ Alicia Ramirez, City Clerk Approved As To Content: Approved As To Form: _________________________ ________________________ AJ Fawver, Planning Manager Lysia H. Bowling, City Attorney
  • 199.
    SECTION 3: Thatthe following severability clause is adopted with this amendment: SEVERABILITY: The terms and provisions of this Ordinance shall be deemed to be severable in that, if any portion of this Ordinance shall be declared to be invalid, the same shall not affect the validity of the other provisions of this Ordinance. SECTION 4: That the following penalty clause is adopted with this amendment: PENALTY: Any person who violates any provisions of this article shall be guilty of a misdemeanor and, upon conviction, shall be subject to a fine as provided for in Section 1.106 of the Code of Ordinances for the City of San Angelo. Each day of such violation shall constitute a separate offense. INTRODUCED on the 19th day of February, 2013 and finally PASSED, APPROVED AND ADOPTED on this the 5th day of March, 2013. THE CITY OF SAN ANGELO ____________________________________ Alvin New, Mayor ATTEST: ________________________________ Alicia Ramirez, City Clerk Approved As To Content: Approved As To Form: _________________________ ________________________ AJ Fawver, Planning Manager Lysia H. Bowling, City Attorney
  • 200.
    City of San Angelo Memo Meeting Date: February 19, 2013 To: City Council members From: Roxanne Johnston, Planner Subject: Z 13-04 Abel Fernandez. A request for approval of a zone change from Single-Family Residential (RS-1) to Neighborhood Commercial (CN) to specifically allow for commercial opportunities as allowed in CN zoning districts on the following property: Location: 1006 East 14th Street, located approximately 170 feet from the northeast intersection at East 14th Street and Wade Street. This property specifically occupies the Exall Addition, Block 9, Lot 8 Exc. West 88.7’, in north central San Angelo. Purpose: Approval or modification of this request by the Planning Commission would forward that recommendation to City Council for a final decision on the matter. Contacts: Abel Fernandez, property owner 325-482-0946 Roxanne Johnston, Planner 325-657-4210 Caption: First Public Hearing and consideration of introduction of an Ordinance amending Chapter 12, Exhibit “A” (Zoning Ordinance) of the Code of Ordinances, City of San Angelo Z 13-04: Abel Fernandez AN ORDINANCE AMENDING CHAPTER 12, EXHIBIT “A” OF THE CODE OF ORDINANCES, CITY OF SAN ANGELO, TEXAS, WHICH SAID EXHIBIT “A” OF CHAPTER 12 ADOPTS ZONING REGULATIONS, USE DISTRICTS AND A ZONING MAP, IN ACCORDANCE
  • 201.
    WITH A COMPREHENSIVEPLAN, BY CHANGING THE ZONING AND CLASSIFICATION OF THE FOLLOWING PROPERTY, TO WIT: 1006 East 14th Street, located approximately 170 feet from the northeast intersection at East 14th Street and Wade Street. This property specifically occupies the Exall Addition, Block 9, Lot 8 Exc. West 88.7’, in north central San Angelo, changing the zoning classification from a Single-Family Residential (RS-1) to a Neighborhood Commercial (CN) District; PROVIDING FOR SEVERABILITY AND PROVIDING A PENALTY Summary: The City Council may: (1) Approve this zone change request from RS-1 to RS-2 which would allow for “Household Living” as allowed in RS-2 zoning districts; or (2) Modify the application to some alternative zoning classification believed to be more appropriate; or (3) Deny this zoning request from RS-1 to RS-2. Recommendation: City staff recommends approving the proposed zone change. On January 28, 2013, the Planning Commission recommended approval of this request by a unanimous vote of 5-0. History and Background: General Information Existing Zoning: Single-Family Residential (RS-1) Existing Land Use: Vacant residential Surrounding Zoning/Land Use: North: RS-1 Single-Family Residential West: RS-1 Single-Family Residential South: RS-1 Single-Family Residential East: RS-1 Single-Family Residential
  • 202.
    Thoroughfares/Streets: East 14th Street is defined as a “collector street” which provides direct access to residential, commercial and other land uses. Wade Street is defined a "local street" and is designed to carry light traffic at lower speeds and generally connects to collector streets. East Main Street is defined as an “arterial street” and is designed to connect collector streets to freeways and other arterials carrying large volumes of traffic at high speeds. Access is secondary and mobility is the primary function of these streets. Zoning History: Residential as early as 1939. Applicable Regulations: Allowed uses for this property can be found in Section 310 (Use Table) of the Zoning Ordinance. . Refer to off-street parking standards, per Section 511. Section 602. “B. No nonconforming structure may be enlarged, expanded or extended in such a manner that it shall be made more nonconforming… A non-conforming structure may be enlarged expanded or extended so long as the nonconforming feature is not enlarged, expanded or extended, thereby making the structure more nonconforming.” Development Standards: Section 502. Nonresidential Development Standards Neighborhood Commercial (CN) requires a 25 feet front setback for commercial structures. No side or rear setback are required in commercial districts unless the lot abuts a residential district or use, where a minimum of 10 feet is required.
  • 203.
    Section 504 ofthe Zoning Ordinance covers outdoor storage and display. Aside from Type 1 outdoor display, no other outside storage is allowed here. A.1. “Type 1 Outdoor Display shall be allowed adjacent to a principal building wall and extending to a distance no greater than 5 feet from the wall. Such storage shall not be permitted to block windows, entrances or exits, and shall not impair the ability of pedestrians to use the building. E.1. “Unless specifically authorized elsewhere… all outdoor storage and display shall be located outside the public right-of-way and/or at least 15 feet from the back edge of the adjacent curb or street pavement. Section 509. Fences A.1. “A privacy fence shall be required where the side or rear lot line of a nonresidential use is adjacent to either of the following. a. A residential district boundary other than the R&E District. b. An existing residential use. Vision Plan Map: Neighborhood Center & Neighborhood Comp Plan Excerpts: Within the Comprehensive Plan, Goal 3 of “Neighborhoods” is to “improve the relationship between adjacent commercial and residential properties”. “All residents within each neighborhood boundary should be able to meet their daily needs within a reasonable and accessible distance from their home.” “Promote better transition between nearby commercial and residential use of land and buildings.”
  • 204.
    “Establish transition areas between commercial areas and nearby neighborhoods.” “Address issues related to the transition of older homes into offices, including parking and compatibility with surrounding areas.” Special Information Traffic Concerns: Changing the zoning from residential to commercial use will generally add traffic to an area, but due to the small lot size and that CN is the least intensive of commercial zoning, potential businesses locating there will most likely yield little traffic than would more intensive uses. Parking Requirements: Section 511 of the Zoning Ordinance covers parking standards; the requirement varies depending on the proposed usage(s). The requirement for a tax service establishment, for example, would be 1 space paved per 300ft2 gross floor area. Parking Provided: It appears off-street parking opportunity is available on this lot; the number of spots will depend upon lot orientation and future building configuration. Density: This general area is of light to medium density residential with lower density businesses outside of the current RS-1 zone. The zone change request complies with the Vision Plan, which calls for a continuation of the future development of this area as “Neighborhood Center." Notification Required: Yes Notifications Sent: 13 Responses in Favor: 0 Responses in Opposition: 0 Analysis:
  • 205.
    In order toapprove this zone change request, the City Council members are first required to consider the following criteria: 1. Compatible with Plans and Policies. Whether the proposed amendment is compatible with the Comprehensive Plan and any other land use policies adopted by the Planning Commission or City Council. 2. Consistent with Zoning Ordinance. Whether and the extent to which the proposed amendment would conflict with any portion of this Zoning Ordinance. 3. Compatible with Surrounding Area. Whether and the extent to which the proposed amendment is compatible with existing and proposed uses surrounding the subject land and is the appropriate zoning district for the land. 4. Changed Conditions. Whether and the extent to which there are changed conditions that require an amendment. 5. Effect on Natural Environment. Whether and the extent to which the proposed amendment would result in significant adverse impacts on the natural environment, including but not limited to water and air quality, noise, storm water management, wildlife, vegetation, wetlands and the practical functioning of the natural environment. 6. Community Need. Whether and the extent to which the proposed amendment addresses a demonstrated community need. 7. Development Patterns. Whether and the extent to which the proposed amendment would result in a logical and orderly pattern of urban development in the community. The staff recommendation is based upon the statements listed below. The subject property is located on the fringes of an older RS-1 zoning district within 300 feet of North Main Street. The applicant is planning to operate a tax service business from the property and seeks to repurpose a vacant house to do so. Atmos Energy, a planned development, is located near the property to the northeast. There are a variety of mixed uses and zoning to the east and southeast of the subject property which include an assisted living and retirement facilities. To the north, within walking distance of well under ½ a mile, are a variety of businesses that support neighborhood services such as restaurants and car repair shops. Near the same area to the north are more intense land uses (CG/CH) that allow for heavy land use, such as junk yards; although certainly not allowed on the subject property. In the future, the Vision Plan calls for CG/CH zoning districts to be phased out.
  • 206.
    In looking atthis proposal, Planning Staff has found that a CN zoning district is compatible with the plans and policies in place for the community and that the zone change is consistent with the Zoning Ordinance. Staff feels this request is compatible with and appropriate to the surrounding area. A CN zoning district lies less than 35 feet from the southeastern section of the property. The Vision Plan calls for about 1/3 of the subject property to the east to be zoned “Neighborhood Center” with the remaining staying “Residential.” Due to the size of this property, the nature of businesses that could locate there in the future are constricted by the lot size and limited area for parking, so this property use will likely remain smaller and less intensive in nature and would generate little traffic to the area. Residential near CN zoning which allows lower intensity commercial opportunities make sense; the plans and policies in place for the community recognize this need for neighborhood serving businesses that a CN zoning district will allow for. With the subject property's proximity to North Main Street to the east, the area has already seen a variety of change. The second possible challenge is that a portion of a neighboring residence is located on the western side of subject property and is legally non-conforming as it has been there since 2000. The proposed zone change would necessitate the construction of an opaque fence between the residence to the west and businesses located on the subject property. According to Section 502 of the Zoning Ordinance, there can be no fewer than 10 feet between the proposed use and a residence. There is currently a 4’ chain link fence between the building on the subject property and the neighboring residence to the west. Staff believes that the CN zoning in this area is compatible with the surrounding area. As previously mentioned, the lower intensity commercial opportunities that are allowed within this zoning district have high potential to be an asset to the neighborhood in both the short and long term. While not all types of commercial activities would be appropriate for this particular property, given the lot size and proximity to the neighborhood and other lower intensity businesses, staff believes some lower intensity neighborhood serving businesses would be a fit that is compatible with the surrounding area. Since this particular zone change is in harmony with the Comprehensive Plan, there is no need for an amendment to the Comprehensive Plan to approve this request. Staff does not believe the impact on the natural environment will be detrimentally affected through the approval of this zone change. Staff is unable to find any negative environmental consequences that will result from this zone change. Given that semi-industrial uses are not allowed within CN zoning, the zone change will not bring about the noises and odors often associated with a heavier commercially zoned district. Staff also believes this zone change request has potential to serve a community need in this particular area, even given the example of the applicant’s desire to locate a tax service business there. Other businesses that would be a fit for the same property include those of a
  • 207.
    community services natureand a small new or used retail sales and services business such as product repair, for example (since the property is relatively small) to name just a few. Staff finds that a CN zoning district on the subject property will create an orderly development pattern that is consistent with the surrounding area. CG/CH, RS-2, CG, and CN zoning currently borders the RS-1 properties. Staff feels anything more intensive in this area has the potential to upset this balance and encroach into a long standing neighborhood. This neighborhood has been zoned residential since at least 1939 and has experienced, for the most part, a sensible mix of zoning around it. Staff finds it necessary to protect and promote the current and future growth of this neighborhood and the introduction of CN zoning will allow this to occur while serving the needs of the residents of this neighborhood both now and in the future. The goals of infill and walk-able development are highly in line with the City's Comprehensive Plan and are in harmony with the neighborhood. Lastly, it is possible that this development may serve to aid in future area development. Proposed Conditions N/A Attachments: excerpt from zoning map, showing the general location within the City of San Angelo; excerpt from zoning map, highlighting subject property; aerial photo, highlighting subject property; excerpt from the Comprehensive Plan Vision Map highlighting the subject property; and draft minutes from January 28, 2013 Planning Commission meeting; and draft Ordinance Presentation: Roxanne Johnston, Planner Reviewed by: Jeff Hintz, Interim Senior Planner (01/21/13)
  • 212.
    MINUTE RECORD OFTHE CITY OF SAN ANGELO PLANNING COMMISSION MEETING HELD ON MONDAY, January 28, 2013 AT 9:00 AM IN THE SOUTH MEETING ROOM OF THE SAN ANGELO CONVENTION CENTER, 500 RIO CONCHO DRIVE, SAN ANGELO, TEXAS PRESENT: Joe Grimes, Bill Lawrence, Jennifer Boggs, Darlene Jones, Bill Wynne ABSENT: Sebastian Guerrero (AE), Sam Tambunga (AE) STAFF: AJ Fawver, Planning Manager Jeff Hintz, Planner Kevin Boyd, Planner Roxanne Johnston, Planner D. Z 13-04: Abel Fernandez A request for approval of a zone change from Single-Family Residential (RS- 1) to Neighborhood Commercial (CN) to specifically allow for a tax service business as allowed in CN zoning districts on the following property: 1006 East 14th Street, located approximately 170 feet from the northeast intersection at East 14th Street and Wade Street. This property specifically occupies the Exall Addition, Block 9, Lot 8 Exc. West 88.7’, in north central San Angelo. Roxanne Johnston, Planner, came forward to present this request, consistent with the staff recommendation of approval. Ms. Johnston noted that there were 13 notifications sent out on this request, with 0 returned in favor or in opposition to the request. The subject property is a residential structure, which sits on the edge of a neighborhood and near Main Street, which has a mix of zoning district types. There are also some empty lots in this area. The eastern section of the subject property terminates at an alley bifurcating the neighborhood, creating a triangular shaped property. There is a single-family residential area in and around this location, and the residential usage of the area dates back to 1939. The subject property is located on the fringe of an RS-1 neighborhood. The desire is to have a tax service business at this location. There are several zoning districts within a 1/2 mile of this location. A CN zoning district would be compatible with the plans and policies of the city. She again referred to the need and appropriateness for a buffer between the mix of uses nearby and this large residential area. The concept of "neighborhood" is for low-impact business, of which this is one. CN is the least intensive type of commercial zoning. The small lot size does limit naturally the types of businesses which could locate on the lot. However, the scale of a neighborhood center would be appropriate. There is a CN zone currently in existence less than 35' from the subject property. The zone change does trigger placement of a 6' opaque privacy fence to screen from the residential area nearby. The request is consistent with the Vision Plan map as well as the city plans and criteria outlined in the Zoning Ordinance. Businesses that are allowed in CN allow small new or used retail sales or services, along with office usage. More intensive zoning
  • 213.
    would potentially upsetthe balance and encroach into a large and long- established neighborhood. Darlene Jones asked if this business would strictly be a business or if it would also be a residential use. It was responded that it would be allowed to be a business only - this type of zoning would not allow residential living. Jennifer Boggs also asked a couple of questions regarding the parking. Fortunately, the floor-area ratio limit for this site would limit much of an additional expansion, meaning that parking would not likely need to increase by more than one space in the future. The proponent, Abel Fernandez, came forward and spoke in favor of this request. He stated that he does not currently have any employees. Joe Grimes asked if the stipulations that were required were fine with the applicant. Mr. Fernandez expressed his acceptance of the requirements. No one else came forward to speak on this request. Motion, to approve as presented, was made by Darlene Jones and seconded by Joe Grimes. The motion passed unanimously, 5-0.
  • 214.
    AN ORDINANCE AMENDINGCHAPTER 12, EXHIBIT “A” OF THE CODE OF ORDINANCES, CITY OF SAN ANGELO, TEXAS, WHICH SAID EXHIBIT “A” OF CHAPTER 12 ADOPTS ZONING REGULATIONS, USE DISTRICTS AND A ZONING MAP, IN ACCORDANCE WITH A COMPREHENSIVE PLAN, BY CHANGING THE ZONING AND CLASSIFICATION OF THE FOLLOWING PROPERTY, TO WIT: 1006 East 14th Street, located approximately 170 feet from the northeast intersection at East 14th Street and Wade Street. This property specifically occupies the Exall Addition, Block 9, Lot 8 Exc. West 88.7’, in north central San Angelo; changing the zoning classification from a Single-Family Residential (RS-1) to a Neighborhood Commercial (CN) District; PROVIDING FOR SEVERABILITY AND PROVIDING A PENALTY RE: Z 13-04: Abel Fernandez WHEREAS, the Planning Commission for the City of San Angelo and the governing body for the City of San Angelo, in compliance with the charter and the state law with reference to zoning regulations and a zoning map, have given requisite notice by publication and otherwise, and after holding hearings and affording a full and fair hearing to all property owners and persons interested, generally, and to persons situated in the affected area and in the vicinity thereof, is of the opinion that zoning changes should be made as set out herein; NOW THEREFORE, BE IT ORDAINED BY THE CITY OF SAN ANGELO: SECTION 1: That the basic zoning ordinance for the City of San Angelo, as enacted by the governing body for the City of San Angelo on January 4, 2000 and included within Chapter 12 of the Code of Ordinances for the City of San Angelo, be and the same is hereby amended insofar as the property hereinafter set forth, and said ordinance generally and the zoning map shall be amended insofar as the property hereinafter described: 2008 Beacon Street, located on the northeast corner of the intersection of Beacon Street and Montague Avenue. This property specifically occupies the Avondale Addition, Block 10, Lots 15-20, in central San Angelo; shall henceforth be permanently zoned as follows: Neighborhood Commercial (CN) District. The Director of Planning is hereby directed to correct zoning district maps in the office of the Director of Planning, to reflect the herein described changes in zoning. SECTION 2: That in all other respects, the use of the hereinabove described property shall be subject to all applicable regulations contained in Chapter 12 of the Code of Ordinances for the City of San Angelo, as amended. SECTION 3: That the following severability clause is adopted with this amendment: SEVERABILITY:
  • 215.
    The terms andprovisions of this Ordinance shall be deemed to be severable in that, if any portion of this Ordinance shall be declared to be invalid, the same shall not affect the validity of the other provisions of this Ordinance. SECTION 4: That the following penalty clause is adopted with this amendment: PENALTY: Any person who violates any provisions of this article shall be guilty of a misdemeanor and, upon conviction, shall be subject to a fine as provided for in Section 1.106 of the Code of Ordinances for the City of San Angelo. Each day of such violation shall constitute a separate offense. INTRODUCED on the 19 day of February, 2013 and finally PASSED, APPROVED AND ADOPTED on this the 5th day of March, 2013. THE CITY OF SAN ANGELO ____________________________________ Alvin New, Mayor ATTEST: ________________________________ Alicia Ramirez, City Clerk Approved As To Content: Approved As To Form: _________________________ ________________________ AJ Fawver, Planning Manager Lysia H. Bowling, City Attorney
  • 216.
    City of SanAngelo Memo Meeting Date: March 5, 2013 To: City Council members From: Kevin Boyd, Planner Subject: Z 13-06: City of San Angelo Development Corporation, a request for a zone change from Light Manufacturing (ML) to Heavy Manufacturing (MH) to allow for activities allowed within MH zoning districts, on the following property: Location: 1020, 1030, & 1040 Gateway Drive, located east of the intersection of Gateway Drive and FM 380; more specially occupying the Gateway Addition, Section 1, Block 3, Lots 1 and 2 and Tract A, in Section 1 being a 20.059 acres, in northeast San Angelo. Purpose: Approval of this request would zone the property Heavy Manufacturing (MH). Contacts: COSA Development Corporation, owner 325-653-7197 Kevin Boyd, Planner 325-657-4210 Caption: First Public Hearing and consideration of introduction of an Ordinance amending Chapter 12, Exhibit “A” (Zoning Ordinance) of the Code of Ordinances, City of San Angelo Z 13-06: City of San Angelo Development Corporation AN ORDINANCE AMENDING CHAPTER 12, EXHIBIT “A” OF THE CODE OF ORDINANCES, CITY OF SAN ANGELO, TEXAS, WHICH SAID EXHIBIT “A” OF CHAPTER 12 ADOPTS ZONING REGULATIONS, USE DISTRICTS AND A ZONING MAP, IN ACCORDANCE WITH A COMPREHENSIVE PLAN, BY CHANGING THE ZONING AND CLASSIFICATION OF THE FOLLOWING PROPERTY, TO WIT: 1020, 1030, & 1040 Gateway Drive, located east of the intersection of Gateway Drive and FM 380; more specially occupying the Gateway Addition, Section 1, Block 3, Lots 1 and 2 and Tract A, in Section 1 being a 20.059 acres, in northeast San Angelo, changing the zoning classification from
  • 217.
    Light Manufacturing (ML)to Heavy Manufacturing (MH) District; PROVIDING FOR SEVERABILITY AND PROVIDING A PENALTY Summary: The City Council may: (1) Approve the proposed zone change as requested; or (2) Remand the application back to Planning Commission for further discussion, in which case another public hearing will need to be scheduled; or (3) Deny the proposed zone change. Recommendation: Planning staff recommends approving the proposed zone change. History and Background: General Information Existing Zoning: Light Manufacturing (ML) Existing Land Use: Undeveloped land Surrounding Zoning/Land Use: North: Light Manufacturing (ML) Angelo Achieves West: Light Manufacturing (ML) Undeveloped land South: Unincorporated Undeveloped land East: Light Manufacturing (ML) Undeveloped land Thoroughfares/Streets: FM 380 is classified as an ‘arterial street’ which is designed to be a major thoroughfare that carries heavy traffic to points of interest throughout the city. Gateway Drive is classified as a "local street" and is designed to carry light traffic at lower speeds and generally connects to collector streets. Zoning History: The property was annexed into the city in November 1997 and later rezoned to Light Manufacturing (ML) in December 1997, refer to case Z 97-51. 2
  • 218.
    Applicable Regulations: 316.B.1 of the Zoning Ordinance states, ..."If the uses routinely subject the surrounding area to noxious or malodorous impacts, they are considered heavy manufacturing and production.." Development Standards: All required off-street parking and the connection(s) to a public right-of-way are required to be paved. Vision Plan Map: Industrial Related Comp Plan Excerpts: Intent of Industrial in the Comprehensive Plan is to, “[dedicate areas for] supporting the local economy while mitigating some of their potentially undesirable secondary effects on nearby residences.” Industrial section goal one of the Comprehensive Plan is to "Organize LULUs (Locally Undesirable Land Uses) into clusters." The purpose of this goal is to: "Cluster potentially hazardous industries into a limited number (given the size of San Angelo) of larger, isolated areas will minimize negative effects on residential areas, while balancing access to these businesses within the region, rather than putting all of them into one location." Special Information Traffic Concerns: Changing the zoning to a more intensive industrial district has the potential to generate additional traffic than if the property remained as-is. However, given the limited number of visitors to industrial zoned properties, and ease of access to the highway for transport, staff is not concerned with the development of this property as heavy industrial. Parking Requirements: Vary depending upon the use of the property, see Section 511. Parking Provided: Currently, no parking exist on the site, though it is a sizable tract. 3
  • 219.
    Density: Predominantly large tracts of undeveloped land in the surrounding areas. The Vision Plan also calls for a continuation of the future development of this area as Industrial, creating an industrial hub. Notification Required: Yes Notifications Sent: 1 Responses in Favor: 0 Responses in Opposition: 1 Analysis: In order to approve this zone change request, the Planning Commission members are first required to consider the following criteria: 1. Compatible with Plans and Policies. Whether the proposed amendment is compatible with the Comprehensive Plan and any other land use policies adopted by the Planning Commission or City Council. 2. Consistent with Zoning Ordinance. Whether and the extent to which the proposed amendment would conflict with any portion of this Zoning Ordinance. 3. Compatible with Surrounding Area. Whether and the extent to which the proposed amendment is compatible with existing and proposed uses surrounding the subject land and is the appropriate zoning district for the land. 4. Changed Conditions. Whether and the extent to which there are changed conditions that require an amendment. 5. Effect on Natural Environment. Whether and the extent to which the proposed amendment would result in significant adverse impacts on the natural environment, including but not limited to water and air quality, noise, storm water management, wildlife, vegetation, wetlands and the practical functioning of the natural environment. 6. Community Need. Whether and the extent to which the proposed amendment addresses a demonstrated community need. 4
  • 220.
    7. Development Patterns.Whether and the extent to which the proposed amendment would result in a logical and orderly pattern of urban development in the community. The staff recommendation is based upon the statements listed below. The zone change request was initiated in an effort to market the properties to various industrial opportunities. The 89 acre tract consists of three adjacent properties zoned Light Manufacturing (ML), and are part of the City’s Business and Industrial Center – located in the northeast part of town. Generally speaking, the proposal for Heavy Manufacturing (MH) will allow for the most intense and noxious possible within the city limits. Given the extreme nature of allowed uses, careful consideration was given in formulating this recommendation. The Vision Plan envisions the subject property, and areas to the north, east and west to remain 'industrial'. Industrial allows for clustering potentially hazardous industries into limited, isolated parts of the city. Although portions to the south calls for neighborhood development, no residences currently exist along FM 280 or anywhere within 3/4 of a mile of the site. This particular property is isolated from the surrounding area through the large tracts of land in the area. Loud noises and the occasional odd smells that may potentially be emitted from property are not likely to bother neighboring properties, given their distance from the site. After carefully assessing the factors to the proposal for a zone change, staff has determined that such a location would be appropriate for intense uses, for this and other reasons articulated below. A zone change from ML to MH is an appropriate transition given the location of the site. In some respect, the two zoning districts are similar in terms of allowed uses. One exception is that MH provides opportunities for heavy processing and manufacturing that is inherently noxious and dangerous due to the chemicals or processes involved. Other uses allowed in MH zoning include warehouse and freight movement, wholesale trade, heavy manufacturing and production and fabrication of wearing apparel including boots and shoes, and mining and waste-related uses as conditional uses. Since the site is several miles from populated areas, noxious sounds and odors will likely go unnoticed by a vast majority of people who visit and live within San Angelo. This request for MH zoning is compatible with much of the surrounding area. The land surrounding the site remains largely undeveloped and varies from open plains to a mix of light to heavy brush. Two noticeable nearby structures are Angelo Achieves, which occupies the property directly to the north, and a vacant distribution center at the intersection of North Loop 306 Frontage and Venture Drive. In November 2012, City Council approved a request for a "Major Entertainment Event" to temporarily develop a tract on the properties immediately north of the subject property, for the Lucas Oil Track. No other structures exist within 1/2 a mile of the site. The fact that the site is in one of the most isolated and undeveloped areas allows COSADC opportunities to develop the site for the most intensive uses, with the least potential impacts. 5
  • 221.
    As referenced above,ML and MH zoning districts are very similar. The exception is that MH zoning allows for greater flexibility in the intent as it relates to intensity and the level of noxious uses allowed. Heavy manufacturing and production, for example, is allowed in MH zoning. In ML districts, no vibrations can be produced which are transmitted through the ground at any point beyond the lot line. There are also measures to reduce noise and emission of airborne particles. Conceivably, with a more intense MH zoning, these uses would be allowed, subject to applicable state and federal environmental regulations in regards to environmental quality. Depending on the intensity of the use, the transition may have an effect on the natural environment. Staff believes that efforts to cluster these high intense uses into a few isolated areas follows the goal of the Comprehensive Plan, and diminishes potential for any unforeseen negative impacts. A zoning of this intensity would not normally be appropriate near areas identified as ‘Neighborhood’ but it has, for some time, been planned and dedicated for intense industrial uses (for many of the reasons mentioned above), staffs feels the proposed zoning is appropriate. The site measures over 2,300 feet from any significant water feature – the nearest is the Concho River, which flow west to east into the O.H. Ivie Reservoir (away from the city). Due to isolation of this property and the area in general, staff is confident that there will be a suitable buffer from residential development. The community needs zoning districts that are this intense in nature to be isolated from residences and highly trafficked areas. Few people will ever see the outdoor storage that is possible in this zoning district, and those who are subjected to it are not residences but rather industrial users of property themselves. The Comprehensive Plan seeks to buffer residences from the tendency of industry to have outdoor storage of materials and goods. The request is consistent with aspects of the Vision Plan and as such, will not require amendment to the plan. In the manufacturing and production field, materials and freight need quick access to highways for transport to other locations. There are not many areas in the city that are isolated from residences and that provide for quick access to a highway, which is vital in the manufacturing field. North Loop 306, a freeway, measures less than 1/3 of a mile, to the west of the site. Still, given its short distance from the Loop – it is somewhat removed from the thoroughfare (separated by a 55 acre tract zoned for ML) and is an ideal fit for the most noxious of uses, which shields potential effects from passing motorists along the freeway. The request also offers a nice transition of permissible uses (ML zoning between the highway and the proposed MH district), in that regard. The property is near the edge of the city-limits – positioned nearly 2,000 feet to the east of the boundary – which allows for easy access to routes that led outside of the city. Quick access to the highway system, while not abutting highly trafficked residential or commercial thoroughfares, makes this one of the safest locations within the city limits to locate heavy industries. 6
  • 222.
    Proposed Conditions N/A Attachments: Excerpt from zoning map, showing the general location within the City of San Angelo; Excerpt from zoning map, highlighting subject property; Aerial photo, highlighting subject property; Excerpt from the comprehensive plan vision map highlighting the subject property; Excerpt of the favor/opposition notification map; Citizen Response; Draft minutes from 02/18/13 Planning Commission meeting; and Draft Ordinance. Presentation: Kevin Boyd, Planner Reviewed by: Jeff Hintz, Interim Senior Planner (02/11/13) 7
  • 224.
  • 225.
  • 226.
  • 227.
  • 229.
    D. Z 13-06:City of San Angelo Development Corporation A request for approval of a zone change from Light Manufacturing (ML) to Heavy Manufacturing (MH) to allow for activities allowed within MH zoning districts, on the following property: 1020, 1030, & 1040 Gateway Drive, located east of the intersection of Gateway Drive and FM 380; more specially occupying the Gateway Addition, Section 1, Block 3, Lots 1 and 2 and Tract A, in Section 1 being a 20.059 acres, in northeast San Angelo. Kevin Boyd, Planner, came forward to present this request, consistent with the staff recommendation of approval. One notification was required to be sent, and one was received in opposition to the request. Mr. Boyd described the subject property and its general location in the city. Mr. Boyd explained that the rquest complies with the Vision Plan Map, which calls for "Industrial" at this location. The Economic Development Staff, working as representatives for the San Angelo Development Corporation, made this request because they are looking to diversify the offerings of the Industrial Park. MH zoning is very similar to the current ML zoning, but the section being considered for this change is very remote (not highway frontage), and allows more flexibility and higher intensity. This is one of the most isolated and undeveloped parts of the city, and it would allow opportunities to develop as originally intended, far removed from neighborhoods and commercial corridors. Mr. Boyd explained that another rationale for approval is the fact that the property being proposed is not within the direct line of site Bob Schneeman, the Interim Director of Economic Development, came forward to speak in favor of this request. The infrastructure improvements in this area were done in 2004, but little interest has so far been seen for developing the area. The influx of oilfield-related activity prompted Economic Development and COSADC to re-examine the allowed uses at this site in order to better bring activity to it - as initially intended. There are a significant amount of deed restrictions on the property in addition to the zoning. Those could not be changed without approval of the property owners, and there is a design committee that oversees all development within the Industrial Park. They are willing to work with the property owner who wrote in as opposition, to skirt their property and to site operations appropriately. There has been interest from some businesses about locating in this park. Mr. Schneeman also expressed that there is some natural buffering due to a rather large drainage easement that would prohibit buildings to be placed within it. In addition, there are plans for a street to be extended to the east, which would also create a buffer to the owner in opposition. As such, mitigation of negative impacts should be greatly reduced as opposed to most properties. Mr. Schneeman outlined some of the deed restrictions that are in place, prohibiting things such as feed lots, rendering plants, height restrictions (cell towers, for example), among other things. There was some additional discussion of the potential uses allowed in MH districts and the specific use standards of ML districts that are different from MH district regulations. There was also a question of utilizing a "buffer zone" for this business,
  • 230.
    but staff remindedthe Commission that zoning changes cannot carry conditions with them. There were several questions asked of staff regarding the potential for future uses at this location. John Dugan, with the Chamber of Commerce, came forward to speak in favor of this request, stating that there were several types of interests in this location that would not work under the current zoning. This would make the property more attractive. No one else came forward to speak in favor of this request. HR Wardlaw came forward to speak in opposition to this request, stating that the neighbor in this area needed to be "made whole" and that endangering this particular property owner was not the correct approach. He also stated that the original intent of the park was to function as an office park. He asked the Commission to keep the zoning as it is today. Bill Wynne stated that the nearby business's issues could potentially be handled via an air conditioning system. Jennifer Boggs discussed that the discussions about the potential legal ramifications (privately) were not the responsibility of the Commission members to oversee and handle/enforce. Joe Grimes explained that the Chamber, COSADC, Eco Dev, exist to bring in revenue to the city and market it in a way that brings industry into town rather than pushing it out into Tom Green County. Bill Lawrence considered the fact that, to have this industry somewhere in San Angelo, it should be considered where the most appropriate place is in the city. Bill Lawrence also suggested that replatting could change the boundaries, and staff agreed that it would, but that it would have to precede any change of zoning. Motion, to approve, was made by Bill Wynne and seconded by Joe Grimes. The motion passed by a motion of 4-1, with Darlene Jones in opposition to the change.
  • 231.
    AN ORDINANCE AMENDINGCHAPTER 12, EXHIBIT “A” OF THE CODE OF ORDINANCES, CITY OF SAN ANGELO, TEXAS, WHICH SAID EXHIBIT “A” OF CHAPTER 12 ADOPTS ZONING REGULATIONS, USE DISTRICTS AND A ZONING MAP, IN ACCORDANCE WITH A COMPREHENSIVE PLAN, BY CHANGING THE ZONING AND CLASSIFICATION OF THE FOLLOWING PROPERTY, TO WIT: 1020, 1030, & 1040 Gateway Drive, located east of the intersection of Gateway Drive and FM 380; more specially occupying the Gateway Addition, Section 1, Block 3, Lots 1 and 2 and Tract A, in Section 1 being a 20.059 acres, in northeast San Angelo, changing the zoning classification from Light Manufacturing (ML) to Heavy Manufacturing (MH) District; PROVIDING FOR SEVERABILITY AND PROVIDING A PENALTY RE: Z 13-06: City of San Angelo Development Corporation WHEREAS, the Planning Commission for the City of San Angelo and the governing body for the City of San Angelo, in compliance with the charter and the state law with reference to zoning regulations and a zoning map, have given requisite notice by publication and otherwise, and after holding hearings and affording a full and fair hearing to all property owners and persons interested, generally, and to persons situated in the affected area and in the vicinity thereof, is of the opinion that zoning changes should be made as set out herein; NOW THEREFORE, BE IT ORDAINED BY THE CITY OF SAN ANGELO: SECTION 1: That the basic zoning ordinance for the City of San Angelo, as enacted by the governing body for the City of San Angelo on January 4, 2000 and included within Chapter 12 of the Code of Ordinances for the City of San Angelo, be and the same is hereby amended insofar as the property hereinafter set forth, and said ordinance generally and the zoning map shall be amended insofar as the property hereinafter described: 1020, 1030, & 1040 Gateway Drive, located east of the intersection of Gateway Drive and FM 380; more specially occupying the Gateway Addition, Section 1, Block 3, Lots 1 and 2 and Tract A, in Section 1 being a 20.059 acres, in northeast San Angelo, shall henceforth be permanently zoned as follows: Heavy Manufacturing (MH) District. The Director of Planning is hereby directed to correct zoning district maps in the office of the Director of Planning, to reflect the herein described changes in zoning. SECTION 2: That in all other respects, the use of the hereinabove described property shall be subject to all applicable regulations contained in Chapter 12 of the Code of Ordinances for the City of San Angelo, as amended. SECTION 3: That the following severability clause is adopted with this amendment:
  • 232.
    SEVERABILITY: The terms and provisions of this Ordinance shall be deemed to be severable in that, if any portion of this Ordinance shall be declared to be invalid, the same shall not affect the validity of the other provisions of this Ordinance. SECTION 4: That the following penalty clause is adopted with this amendment: PENALTY: Any person who violates any provisions of this article shall be guilty of a misdemeanor and, upon conviction, shall be subject to a fine as provided for in Section 1.106 of the Code of Ordinances for the City of San Angelo. Each day of such violation shall constitute a separate offense. INTRODUCED on the 5th day of March, 2013 and finally PASSED, APPROVED AND ADOPTED on this the 19th day of March, 2013. THE CITY OF SAN ANGELO ____________________________________ Alvin New, Mayor ATTEST: ________________________________ Alicia Ramirez, City Clerk Approved As To Content: Approved As To Form: _________________________ ________________________ AJ Fawver, Planning Manager Lysia H. Bowling, City Attorney
  • 233.
    City of San Angelo Memo Meeting Date: February 20, 2013 To: City Council members From: Roxanne Johnston, Planner Subject: Z 13-07: COSA Planning A request for approval of a zone change from a Planned Development (PD) zoning district to Single-Family Residential (RS-1) to specifically allow for “Household Living” as defined in Section 310 of the Zoning Ordinance on the following property: Location: An unaddressed tract of land located at the southwest end of Twin Mountain Drive. This property specifically occupies approximately 24 acres of the G. Maurer Survey 0182, Abstract 1649, west of Sections One-A and One-B of The Homestead, in southwest San Angelo. Purpose: Approval of this request would zone the property RS-1 Contacts: Roxanne Johnston, Planner 325-657-4210 Caption: First Public Hearing and consideration of introduction of an Ordinance amending Chapter 12, Exhibit “A” (Zoning Ordinance) of the Code of Ordinances, City of San Angelo Z 13-07: COSA Planning AN ORDINANCE AMENDING CHAPTER 12, EXHIBIT “A” OF THE CODE OF ORDINANCES, CITY OF SAN ANGELO, TEXAS, WHICH SAID EXHIBIT “A” OF CHAPTER 12 ADOPTS ZONING REGULATIONS, USE DISTRICTS AND A ZONING MAP, IN ACCORDANCE
  • 234.
    WITH A COMPREHENSIVEPLAN, BY CHANGING THE ZONING AND CLASSIFICATION OF THE FOLLOWING PROPERTY, TO WIT: An unaddressed tract of land located at the southwest end of Twin Mountain Drive. This property specifically occupies approximately 24 acres of the G. Maurer Survey 0182, Abstract 1649, west of Sections One-A and One-B of The Homestead, in southwest San Angelo, changing the zoning classification from a Planned Development (PD) to a Single Family Residential (RS-1) District; PROVIDING FOR SEVERABILITY AND PROVIDING A PENALTY Summary: The City Council may: (1) Approve this zone change request from PD to RS-1 which would allow for “Household Living” as allowed in RS-1 zoning districts; or (2) Remand the application back to Planning Commission for further discussion, in which case another public hearing will need to be scheduled; or (3) Deny this zoning request from PD to RS-1. Recommendation: Planning staff recommends approving the proposed Zone Change. On February 18, 2013, the Planning Commission recommended approval of this request by a unanimous vote of 5-0. History and Background: PD 06-01 was approved by City Council on June 20, 2006, which encompassed this property and others that have since been rezoned to RS-1 on January 17, 2012 (cases Z11-23 & Z11-24). This Planned Development called for several community areas and single family residences that must generally conform to an RS-1 (Single Family Residential) District. The original developer of this PD has since gone out of business and the property has reverted back to the bank and then was recently sold to a private buyer. The subject property is the last remaining section of this Planned Development District. Originally, a clubhouse, pool, and other private amenities were proposed to go along with the 118 single family home sites within this area and even more sites beyond. The intent was for it to function as a gated community. Once the developer went through the
  • 235.
    bankruptcy process, FirstFinancial Bank took control of the properties in this area which had been under that developer's ownership. In December of 2011 the Planning Commission approved a zone change on adjacent properties making up this Planned Development, resulting in a Single Family Residential (RS-1) zoning district. The bank did not wish to pursue a clubhouse and other amenities on the subject property and the homeowners association is defunct, so staff believes a RS-1 zoning classification gives future developers the best opportunity to make use of the property at the highest and best use. General Information Existing Zoning: Planned Development (PD) Existing Land Use: Vacant property Surrounding Zoning/Land Use: North: RM-1 undeveloped property West: R & E; undeveloped property County South: R&E undeveloped property East: RS-1 undeveloped property, vacant lots & residences Thoroughfares/Streets: Twin Mountain Drive is defined as an “arterial” street which is designed to connect collector streets to freeways and carries large volumes of traffic at high speeds. Access is secondary and mobility is the prime function of these streets. Zoning History: The area was annexed into the City in April of 2006. PD 06-01 was established June 20, 2006. This land was previously zoned Ranch & Estate (R & E). Applicable Regulations: Section 212.A.2.d. “An application for an amendment of the Official Zoning Map…shall only be filed by… the Planning Director, acting in his/her capacity as technical advisor to the Planning Commission.” Development Standards: Zoning Ordinance Section 501.A. Minimum Lot Area – 5,000 sq ft
  • 236.
    Minimum Lot Dimensions– 50x100 Minimum Front Yard – 25 ft Minimum Side Yard – 5 ft Minimum Rear Yard – 20 ft Maximum Floor Area Ratio – 0.4 (40%) Maximum Height – 35 ft Vision Plan Map: Neighborhood Special Information Traffic Concerns: There are currently no traffic concerns as this area has not been developed and has no “local” streets. Twin Mountain Drive currently ends at the northeast section of the subject property. Once the northern section of the property is developed, Twin Mountain Drive is projected to lie along the northern boundary of the subject property and will be an arterial which will connect with Sherwood Way to the northwest. The impact of future local streets will be determined as the area is subdivided and plans are submitted to the Planning Division for approval. The property experiences a variety of terrain, elevation, and washes that will certainly be impacted by any development. Parking Requirements: Zoning Ordinance Section 511.B. Two off-street parking spaces are required for each single-family residence. Section 511.D.1. “All required off-street parking spaces shall be located on the same lot or tract of land as the building and/or activity they are intended to serve” Section 511.F.3. “All areas used for required off-street parking shall be paved” Density: The property is currently undeveloped with no internal street access. Low density residential property lies to the north and east. Notification Required: Yes
  • 237.
    Notifications Sent: 13 Responses in Favor: 2 Responses in Opposition: 0 Analysis: In order to approve this Zone change request, City Council members are first required to consider the following criteria: 1. Compatible with Plans and Policies. Whether the proposed amendment is compatible with the Comprehensive Plan and any other land use policies adopted by the Planning Commission or City Council. 2. Consistent with Zoning Ordinance. Whether and the extent to which the proposed amendment would conflict with any portion of this Zoning Ordinance. 3. Compatible with Surrounding Area. Whether and the extent to which the proposed amendment is compatible with existing and proposed uses surrounding the subject land and is the appropriate zoning district for the land. 4. Changed Conditions. Whether and the extent to which there are changed conditions that require an amendment. 5. Effect on Natural Environment. Whether and the extent to which the proposed amendment would result in significant adverse impacts on the natural environment, including but not limited to water and air quality, noise, storm water management, wildlife, vegetation, wetlands and the practical functioning of the natural environment. 6. Community Need. Whether and the extent to which the proposed amendment addresses a demonstrated community need. 7. Development Patterns. Whether and the extent to which the proposed amendment would result in a logical and orderly pattern of urban development in the community. The staff recommendation is based upon the statements listed below. Given the history of this property stated above whereby the original developer went out of business, a zone change to Single Family Residential would better fall in line with the plans, policies and Zoning Ordinance adopted by the Planning Commission and City Council. There are several reasons for this to hold true. To begin with, there is currently no financial backing to ensure the development of the several community buildings and open spaces
  • 238.
    originally planned forin the Planned Development (PD) would occur. Either way, the development standards for both categories of residential zoning (PD and RS-1) are very similar. Section 306.B.2 of the Zoning Ordinance states, ”It is intended that PD Districts conform as closely as possible to established zoning and subdivision regulations…” Both zoning districts (the PD currently in place and the proposed RS-1rezone) require the same setback and height requirements as well as signage, landscaping and off-street parking. By doing nothing to the zoning, the property is not as consistent with surrounding zoning as it would be if it were rezoned to RS-1. Future developers may have a hard time developing since this is currently a remnant from the original PD. A requirement of any PD is that the original plans approved as a condition of the PD be adhered to and any changes would require a review. Section 210.H.1 of the Zoning Ordinance states, “No building permit may be issued and no construction or development requiring a building permit and situated within a PD District may commence unless a site plan has been approved for that phase of the project that is consistent with the approved concept plan. A site plan that is not consistent with the approved concept plan and specific PD District ordinance shall not be approved.” These statements illustrates that conditions of the PD must be met. This is virtually impossible now given the changed circumstances now that the PD no longer exists in its entirety, so current zoning creates a special circumstance that could keep the area from developing and could make land transactions less attractive to prospective buyers who would want to create their own plans. These developers may not wish to contribute to the required common areas as originally envisioned when the development was first conceived. Staff feels that a zone change would continue to be in line with the Comprehensive Plan’s Vision map which calls for neighborhood in this area. Additionally, staff feels that a zone change continues to address community need, as it does under the current zoning, for creating residential opportunities here. As such, an amendment to the Vision Plan would not be required with this particular request. Although the original PD plan encompassed a large section beyond the subject property, it theoretically would have ensured more consistency with regard to building, street, and general layout design and design concepts than a usual RS-1 zone would. As previously mentioned, the development standards would not change as a result of a zone change. Therefore, one could argue that there can now be a mix of development concepts in the area which could allow for more diverse home stock. So far the development that has occurred since the recent zone changes to
  • 239.
    surrounding the propertyhas yielded in thoughtful and consistent development patterns, which is what the Zoning Ordinance seeks to create. It is possible, too, that new development patterns on the subject property could actually result in fewer residential lots than originally planned. For example, it is conceivable that a land-owner of the subject property would wish to keep the property in its natural state. Again, any development occurring within the proposed zoning district would be required to adhere to RS-1 development standards, so there is no chance of over-developing the subject property. This would also ensure consistent development patterns as directed in Criteria 7. Furthermore, Criteria 2 would be met because an amendment here would be consistent with the Zoning Ordinance. It would also be compatible with surrounding zoning and therefore meets the objective of Criteria 3. In addressing environmental impacts resulting from this rezoning; second only to Ranch & Estate zoning districts (R&E), RS-1 creates the least use demand on the property. Whereas no heavier use zoning is planned for this area in the Vision Plan, any development or future subdivisions will most likely be reviewed by the City to ensure that environmental impacts are minimized. Also, until plans are made for the vacant property, it would not be possible to forecast the direct environmental impacts on this property that enjoys a variety of open space, gullies and topographic changes. With either zoning (PD or RS-1), this uncertainty would remain the same. To summarize, staff feels a zone change from PD to RS-1 on the subject property meets with all of the above criteria which include conformity with the Zoning Ordinance, plans and policies, compatibility with the surrounding area, and corrects changed conditions that resulted from the end of the original PD agreements. This proposal also does not create additional adverse impacts on the property than would the PD, it meets a community need by not requiring surrounding property owners to pay for the amenities and Homeowner’s Association fees set forth in the original PD plan, and ensures logical and consistent development patterns to protect the area from over development. Lastly, a zone change will most likely result in a logical and consistent pattern of residential development. Attachments: excerpt from zoning map, showing the general location within the City of San Angelo; excerpt from zoning map, highlighting subject property;
  • 240.
    aerial photo, highlightingsubject property; excerpt from the Comprehensive Plan Vision map highlighting the subject property; original PD concept plan; notification map highlighting responses from neighboring properties; citizen response letters; draft minutes from February 18, 2013 Planning Commission meeting; and, draft Ordinance. Presentation: AJ Fawver, Planning Manager Reviewed by: Jeff Hintz, Interim Senior Planner (02/11/13)
  • 249.
    MINUTE RECORD OFTHE CITY OF SAN ANGELO PLANNING COMMISSION MEETING HELD ON MONDAY, February 18, 2013 AT 9:00 AM IN THE SOUTH MEETING ROOM OF THE SAN ANGELO CONVENTION CENTER, 500 RIO CONCHO DRIVE, SAN ANGELO, TEXAS PRESENT: Joe Grimes, Bill Lawrence, Jennifer Boggs, Darlene Jones, Bill Wynne ABSENT: Sebastian Guerrero (AE), Sam Tambunga (AE) STAFF: AJ Fawver, Interim Director of Development Services Jeff Hintz, Interim Senior Planner Kevin Boyd, Planner Roxanne Johnston, Planner C. Z 13-07: COSA Planning A request for approval of a zone change from a Planned Development (PD) zoning district to Single-Family Residential (RS-1) to specifically allow for “Household Living” as defined in Section 310 of the Zoning Ordinance on the following property: An unaddressed tract of land located at the southwest end of Twin Mountain Drive. This property specifically occupies approximately 24 acres of the G. Maurer Survey 0182, Abstract 1649, west of Sections One-A and One-B of The Homestead, in southwest San Angelo. Roxanne Johnston, Planner, came forward to present this request, consistent with the staff recommendation of approval. 13 notifications were sent out on this request, 3 of which were returned in favor. There were no notifications returned in opposition to this request. Ms. Johnston gave some background on the area. Ms. Johnston explained that there is one remaining piece of this PD that remains in this area. The original plan called for a gated community, an HOA, and additional community amenities. Ms. Johnston explained the complications for each individual lot and individual owner, due to these requirements. This change has taken place throughout the other two pieces of the original PD district, and this would simply be the last piece, restoring all of the area to an RS-1 district, which is consistent with the Vision Plan Map category of "Neighborhood". The proposal is in line with development of the area, and activity in this area (by single, individual property owners, not an HOA) is increasing. All development must adhere to RS-1 development standards, so it would be consistent with the surrounding neighborhoods in the same general vicinity. There were no questions. No one came forward to speak in favor of this request. No one came forward to speak in opposition of this request. Motion, to approve as presented, was made by Jennifer Boggs and seconded by Bill Wynne. The motion passed unanimously, 5-0.
  • 250.
    AN ORDINANCE AMENDINGCHAPTER 12, EXHIBIT “A” OF THE CODE OF ORDINANCES, CITY OF SAN ANGELO, TEXAS, WHICH SAID EXHIBIT “A” OF CHAPTER 12 ADOPTS ZONING REGULATIONS, USE DISTRICTS AND A ZONING MAP, IN ACCORDANCE WITH A COMPREHENSIVE PLAN, BY CHANGING THE ZONING AND CLASSIFICATION OF THE FOLLOWING PROPERTY, TO WIT: An unaddressed tract of land located at the southwest end of Twin Mountain Drive. This property specifically occupies approximately 24 acres of the G. Maurer Survey 0182, Abstract 1649, west of Sections One-A and One-B of The Homestead, in southwest San Angelo, changing the zoning classification from a Planned Development (PD) to a Single Family Residential (RS-1) District; PROVIDING FOR SEVERABILITY AND PROVIDING A PENALTY RE: Z 13-07: COSA Planning WHEREAS, the Planning Commission for the City of San Angelo and the governing body for the City of San Angelo, in compliance with the charter and the state law with reference to zoning regulations and a zoning map, have given requisite notice by publication and otherwise, and after holding hearings and affording a full and fair hearing to all property owners and persons interested, generally, and to persons situated in the affected area and in the vicinity thereof, is of the opinion that zoning changes should be made as set out herein; NOW THEREFORE, BE IT ORDAINED BY THE CITY OF SAN ANGELO: SECTION 1: That the basic zoning ordinance for the City of San Angelo, as enacted by the governing body for the City of San Angelo on January 4, 2000 and included within Chapter 12 of the Code of Ordinances for the City of San Angelo, be and the same is hereby amended insofar as the property hereinafter set forth, and said ordinance generally and the zoning map shall be amended insofar as the property hereinafter described: An unaddressed tract of land located at the southwest end of Twin Mountain Drive. This property specifically occupies approximately 24 acres of the G. Maurer Survey 0182, Abstract 1649, west of Sections One-A and One-B of The Homestead, in southwest San Angelo, changing the zoning classification from a Planned Development (PD) to a Single Family Residential (RS-1) District;, shall henceforth be permanently zoned as follows: Single Family Residential (RS-1) District. The Director of Planning is hereby directed to correct zoning district maps in the office of the Director of Planning, to reflect the herein described changes in zoning. SECTION 2: That in all other respects, the use of the hereinabove described property shall be subject to all applicable regulations contained in Chapter 12 of the Code of Ordinances for the City of San Angelo, as amended. SECTION 3: That the following severability clause is adopted with this amendment:
  • 251.
    SEVERABILITY: The terms and provisions of this Ordinance shall be deemed to be severable in that, if any portion of this Ordinance shall be declared to be invalid, the same shall not affect the validity of the other provisions of this Ordinance. SECTION 4: That the following penalty clause is adopted with this amendment: PENALTY: Any person who violates any provisions of this article shall be guilty of a misdemeanor and, upon conviction, shall be subject to a fine as provided for in Section 1.106 of the Code of Ordinances for the City of San Angelo. Each day of such violation shall constitute a separate offense. INTRODUCED on the 5th day of March, 2013 and finally PASSED, APPROVED AND ADOPTED on this the 19th day of March, 2013. THE CITY OF SAN ANGELO ____________________________________ Alvin New, Mayor ATTEST: ________________________________ Alicia Ramirez, City Clerk Approved As To Content: Approved As To Form: _________________________ ________________________ AJ Fawver, Planning Manager Lysia H. Bowling, City Attorney
  • 252.
    City of SanAngelo Office of the City Clerk Memo Date: February 13, 2013 To: Mayor and Councilmembers From: Alicia Ramirez, City Clerk Subject: th Agenda Item for March 5 Council Meeting Contact: Alicia Ramirez, City Clerk, 657-4405 Caption: Regular Item First Public Hearing and consideration of introduction of an Ordinance amending established boundaries of Single Member District 1 AN ORDINANCE OF THE CITY COUNCIL OF THE CITY OF SAN ANGELO, TEXAS AMENDING THE ESTABLISHED BOUNDARIES OF SINGLE MEMBER DISTRICT NUMBER 1 FOR THE PURPOSE OF INCORPORATING NEWLY ANNEXED AREAS INTO SAID DISTRICT, PROVIDING FOR PRECLEARANCE AND ALL OTHER NECESSARY ACTIONS; AND PROVIDING FOR AN EFFECTIVE DATE Summary: The City Council adopted two ordinances incorporating newly annexed areas in SMD 1. a. The public hearings were held on January 22, 2013 and February 5, 2013 and adopted an ordinance on February 5, 2013. The area annexed is 20 acres located west/southwest of the city at about the southern corner of the intersection of U.S. Highway 67 (Sherwood Way) and a southward projection of Appaloosa Trail, adjacent and contiguous to the present corporate limits of the city. The area is uninhabited and situated adjacent to an apartment development currently undergoing construction. b. The public hearings were held on February 5, 2013 and March 5, 2013 and adopted an ordinance on March 5, 2013. The area annex is 8.995 acres located west/southwest of the city at about northwest of mills pass drive, east of Community of Faith subdivision and southwest of Sam’s Club addition, adjacent and contiguous to the present corporate limits of the city. The area is uninhabited and situated adjacent to a growing residential subdivision. As part of the submission under Section 5 of the Voting Rights Act, the annexations update and change to the established boundaries of single member districts shall be cleared through the Department of Justice. Both areas are uninhabited. The City will comply with all necessary requirements for the submission by adoption of this ordinance. Financial Impact: None. Other Information/Recommendation: Staff recommends updating the established boundary of SMD #1. Attachments: Annexation Map A and B, Proposed Ordinance, and Revised 2013 SMD Map  Page 1
  • 258.
    AN ORDINANCE OFTHE CITY COUNCIL OF THE CITY OF SAN ANGELO, TEXAS AMENDING THE ESTABLISHED BOUNDARIES OF SINGLE MEMBER DISTRICT NUMBER 1 FOR THE PURPOSE OF INCORPORATING NEWLY ANNEXED AREAS INTO SAID DISTRICT, PROVIDING FOR PRECLEARANCE AND ALL OTHER NECESSARY ACTIONS; AND PROVIDING FOR AN EFFECTIVE DATE WHEREAS, the City of San Angelo is a Home Rule municipal corporation operating under a municipal charter that has been adopted as authorized by Article XI, Section 5 of the Texas Constitution; and, WHEREAS, pursuant to the City of San Angelo Charter, Section 3 entitled “Annexation”, the City Council shall have the power, after public hearing, of fixing the boundaries of the City of San Angelo and to annex additional territory by ordinance; and WHEREAS, on February 5, 2013 and March 5, 2013, the City Council adopted Ordinances #2013-02-021 and #2013-03-034, annexing certain uninhabited areas into the City of San Angelo; and WHEREAS, it is now necessary to incorporate such areas into a Single Member District within the City of San Angelo in order to ensure future new residents of the right to vote; and WHEREAS, changes in single member districts constitute a change from prior practices requiring preclearance under the Federal Voting Rights Act. NOW THEREFORE BE IT ORDAINED BY THE CITY OF SAN ANGELO: SECTION 1: RECITALS INCORPORATED. The recitals set forth above are incorporated into the body of this Resolution as findings of the City Council as if fully set forth herein. SECTION 2: DESIGNATION OF ESTABLISHED BOUNDARIES: The boundaries of Single Member District 1 be, and are hereby, amended as set forth in Exhibit “A”, attached hereto and incorporated herein by reference for all purposes. SECTION 3: SUBMISSIONS TO THE UNITED STATES JUSTICE DEPARTMENT: The City Clerk of the City of San Angelo, or her authorized agent, shall make such submissions as are necessary to the United State Justice Department to seek pre- clearance approval. SECTION 4: NECESSARY ACTIONS: The Mayor and the City Clerk, in consultation with the City Attorney, are hereby authorized and directed to take any and all actions necessary or appropriate to comply with the provisions of the San Angelo Code of Ordinances, the Texas Election Code and any other Texas State or federal law in carrying out and designating established single member district boundaries for District 1, as amended, whether or not expressly authorized herein and all such actions of City officials previously taken for said purposes are hereby ratified.
  • 259.
    SECTION 5: SEVERABILITY:The terms and provisions of this Ordinance shall be deemed to be severable in that if any portion of this Ordinance shall be declared to be invalid, the same shall not affect the validity of the other provisions of this Ordinance. SECTION 6: EFFECTIVE DATE: This ordinance shall be effective from and after adoption of this ordinance. INTRODUCED on the 5th day of March, 2013, and finally PASSED, APPROVED and ADOPTED on this the 19th day of March, 2013. CITY OF SAN ANGELO, TEXAS _________________________ Alvin New, Mayor ATTEST: _________________________ Alicia Ramirez, City Clerk Approved as to Content: Approved as to Form: _________________________ __________________________ Alicia Ramirez, City Clerk Lysia H. Bowling, City Attorney
  • 260.
    EXHIBIT “A” DESCRIPTION OF SINGLE MEMBER DISTRICT 1 FOR SAN ANGELO, TEXAS BY 2010 U. S. CENSUS P. L. 94-171 TRACT AND BLOCK TRACT / BLOCK TRACT / BLOCK TRACT / BLOCK 001304 4008 001706 1034 001101 1098 001303 5006 001706 1023 001101 1099 001303 1004 001706 1037 001301 7006 001304 4003 001706 1020 001707 1015 001101 1075 001704 2187 001704 2182 001101 1025 001101 1087 001101 2002 001304 2000 001101 1046 001303 1008 001101 1114 001101 1065 001200 6038 001101 1084 001706 1038 001101 1081 001101 1097 001707 1002 001101 1092 001101 1053 001101 2008 001707 2029 001101 1104 001301 6003 001101 1064 001101 1041 001101 1089 001301 7007 001707 1044 001101 1095 001707 1008 001707 2039 001101 1096 001301 7002 001101 1045 001101 3004 001101 1112 001101 1027 001101 2004 001101 1060 001101 1036 001200 6039 001101 2009 001303 3005 001303 3006 001101 2001 001707 1011 001301 7014 001301 7000 001707 1026 001101 1109 001304 1000 001707 1043 001707 2016 001101 1011 001707 1010 001706 1011 001101 1009 001706 1030 001706 1018 001101 3002 001304 2005 001706 1041 001101 1023 001303 3003 001706 1019 001707 1034 001303 2005 001707 2037 001101 1103 001303 3008 001101 1010 001303 2008 001303 2001 001304 1005 001303 3010 001303 5005 001707 2038 001101 1115 001303 5002 001707 1001 001101 2007 001304 4007 001707 1012 001101 2000 001707 1021 001101 1069 001101 1091 001707 2023 001101 1068 001101 1111 001707 1042 001101 1118 001303 4002 001707 1032 001101 1078 001101 1090 001706 1014 001303 1010 001303 2003
  • 261.
    001303 2006 001707 2019 001304 1009 001303 4005 001303 1005 001101 1048 001303 1001 001303 4009 001101 1116 001704 1095 001707 2015 001101 1049 001707 1033 001707 2013 001707 2033 001707 1028 001101 1074 001707 2034 001706 1027 001707 2026 001704 2179 001706 1032 001303 3001 001707 1000 001707 1018 001304 4005 001707 1013 001707 1016 001101 1035 001706 1001 001303 1000 001707 1005 001101 1108 001303 2012 001707 1031 001303 5001 001101 1083 001706 1016 001303 3012 001303 3009 001706 1025 001303 4008 001303 1003 001706 1033 001303 4003 001303 2011 001704 2180 001303 4000 001303 2002 001301 7013 001101 1042 001303 2007 001301 7003 001304 2001 001303 1002 001101 1038 001704 1079 001707 2031 001101 1101 001704 1115 001101 1055 001101 1088 001707 1003 001707 1006 001304 2002 001707 1030 001706 1008 001706 1028 001706 1007 001707 1017 001707 2014 001706 1009 001101 1086 001304 4000 001706 1022 001101 1082 001707 2011 001706 1040 001101 1113 001707 2028 001707 2021 001101 1057 001101 1061 001101 1026 001704 2000 001707 2032 001101 1117 001101 3001 001704 2184 001304 4002 001303 1006 001101 3003 001704 2186 001303 1007 001101 2006 001303 5008 001304 2004 001101 2005 001303 4004 001304 4006 001101 2003 001303 4010 001707 1038 001101 1100 001704 2181 001706 1013 001101 1106 001704 2185 001706 1042 001303 2004 001706 1003 001303 5009 001707 1027 001707 2018 001303 2009 001704 2001 001101 1059 001706 1002 001707 2025 001101 1105 001707 1009 001303 1009 001101 1058 001706 1029 001304 4001 001303 4006 001707 1039 001301 7005 001304 1006 001706 1026 001704 2183 001304 1008 001706 2002 001101 3000 001707 1040
  • 262.
    001303 5004 001101 3006 001304 4004 001303 2010 001707 2012 001704 1068 001707 1037 001706 1004 001707 1035 001707 1014 001704 1094 001101 1093 001706 1006 001101 1071 001706 1010 001101 1070 001707 1022 001101 1056 001707 1024 001303 3013 001706 1031 001101 1063 001707 1036 001707 1007 001706 1012 001707 1029 001706 1015 001707 1025 001101 1024 001707 2017 001101 1054 001706 1017 001707 1020 001706 1021 001101 1077 001706 1036 001101 1067 001704 1096 001101 1110 001707 2022 001303 3007 001706 1035 001304 2003 001101 1047 001707 1019 001707 1004 001301 7004 001707 1023 001101 1076 001101 1066 001101 1050 001101 1079 001101 1051 001101 1080 001303 3011 001101 1072 001303 3000 001707 2036 001101 3005 001707 2020 001303 3002 001707 2010 001101 1094 001303 3004 001101 1107 001303 4001 001303 4011 001303 2000 001303 5000 001303 5007 001303 5003 001101 1085 001303 4007 001101 1073 001706 1024 001101 1044 001706 1000 001707 2027 001706 1039 001707 2009 001706 1005 001101 1102
  • 263.
    City of SanAngelo Memo Date: March 6, 2013 To: Mayor and Councilmembers From: Ricky Dickson, Interim Water Utilities Director Subject: Agenda Item for March 19, 2013 Council Meeting Contact: Ricky Dickson, Water Utilities Director, 657-4209 Caption: Update on the design and construction activities for the Hickory Water Supply Project Summary: Hutch Musallam with Carollo Engineers will give an update on the status of the Hickory Water Supply projects currently under design and the projects currently in construction. History: Construction on the first Hickory project began in the Fall of 2011 with the Well Field Pipelines project. This project has since been completed and two other projects are currently under construction. The projects under construction are the 30” Transmission Main and the Booster Pump Station and Well Field Improvements. Projects currently in the design phase are the Groundwater Treatment Facility and drilling of new wells for the expansion of the well field. Planned projects will include equipping the new wells, extension of well field collector mains, extension of power lines to the new wells, construction of well access roads and installation of an additional pump in the booster pump station. Financial Impact: N/A Other Information/Recommendation: N/A Attachments: Presentation Presentation: Project update by Hutch Musallam, Carollo Engineers. Publication: None. Reviewed by Service Area Director: Ricky Dickson, Water Utilities Director, March 6, 2013.
  • 264.
    Progress Report San Angelo City Council March 19, 2013 Agenda 1. Progress & Schedule Update: a. Transmission M i T i i Main b. Booster Pump Station & Well Field c. Treatment d. New Groundwater Wells 2. 2 Questions Disc ssion Q estions & Discussion 2 1
  • 265.
    Transmission Main  NTPJanuary 23, 2012  Substantial Completion: July 16, 2013  Final Completion: September 14, 2013  Current status: Dig-Lay-Bury is approximately 80% complete 3 Progress As of March 4, 2013 4 2
  • 266.
    Progress Summary  3rddig-lay-bury crew added through March 14, 2013 to expedite production i BCV areas b f t dit d ti in before nesting season.  Work progressing in both directions  Valves and appurtenance work ongoing with dig- lay-bury l b  Pressure testing starting soon 5 Laying Pipe in Rock 6 3
  • 267.
    Gate Valve Installation 7 Booster Pump Station & Well Field  NTP: June 18, 2012  Substantial Completion: June 18, 2013  Final Completion: July 17, 2013  Current Status: Approximately 50% complete 8 4
  • 268.
    Progress Summary  Boosterpump cans set, backfill underway  Foundations for all well buildings underway most underway, complete  High point and well 6 tank foundations underway.  Well cleaning underway  Potential delay to current schedule mainly due to longer than expected time needed to clean and retrofit existing wells 9 Hickory Wells 1-9 Background  Wells drilled in the 70s  Potential obstructions or items identified by the initial video survey at some wells  TCEQ required cleaning of the well casing at each well along with the removal of debris or obstructions noted i the i i i l video survey b i d in h initial id followed by a new video survey to confirm conditions of wells 10 5
  • 269.
    Conditions of Well Obstruction in Well 4 has been identified as a packing plug Contractor trying drill and air purge it plug. out of the well.  Obstruction removal and repairs to 3 wells  5 holes in well 7 casing: 1 at 64 feet, 3 at 1,128 feet, and 1 at 2,062 feet. A sleeve can be swaged in at 64 feet and possibly at 1128 feet, but not at 2062 due to the pressure at that depth. H l at 2062 i h h d h Hole is completely sealed with grout.  Well 1 liner casing slipped. Attempt will be made to remove the slipped casing. 11 Setting block for booster pump station electrical building 12 6
  • 270.
    Booster Pump Cans 13 Looking East PS & Electrical Building 14 7
  • 271.
    Underground electrical atWell 1 15 Groundwater Treatment Plant  Groundwater Treatment Facility  Disinfection Facility  Associated civil work and piping  Project Status: • RRSS Selection and Design NTP: February 6, 2013 g y , • Overall final design: Anticipated completion completion April 30, 2013 16 8
  • 272.
    Site Layout Disinfection Facility Groundwater Treatment Facility 17 Disinfection Facility 18 9
  • 273.
    Groundwater Treatment Facility 19 Groundwater Treatment Facility Building Dimensions: 208’ – 0” x 133’ – 4” 20 10
  • 274.
    Groundwater Treatment Facility 21 Disinfection Facility Building Dimensions: 105’ – 4” x 64’ – 44” 22 11
  • 275.
    Disinfection Facility 23 Post Design Key Milestones Anticipated Dates or Schedule TWDB/TCEQ Review May 1, 2013 through June 30 1 30, 2013 Advertise Project May 16, 2013 Bid Project July 9, 2013 Recommendation of Award & July 9 through July 16, 2013 Council Approval TWDB R l Release of F d and NTP f Funds d August 1 2013 A t 1, Substantial Construction July 31, 2014 Completion for GWTF Final Construction Completion of October 30, 2014 Project 24 12
  • 276.
    New Wells  Regulatoryhurdle cleared and clearing, grubbing and grinding of cleared material of new wells and d i di f l d t i l f ll d ROW complete.  Phase 1: Engineering for “Drilling New Wells” underway. Expected design completion and submittal to TCEQ April 30 2013 30,  Phase 2: Engineering for “Site Civil, Piping and Equipping New Wells” will start in May 2013 25 Questions? San Angelo City Council March 23, 2013 13
  • 277.
    City of SanAngelo Finance Department Memo Date: March 6, 2013 To: Mayor and Councilmembers From: Steve Mahaffey, Budget Analyst, Sr. Subject: Agenda Item for March 19, 2013 Council Meeting Contact: Steve Mahaffey, Budget Analyst, Sr. 481-2757 Caption: st nd Regular (1 reading) Consent (2 reading) First public hearing and introduction of an Ordinance amending the 2012-2013 Budget for new projects, incomplete projects, capital projects and grants. Summary: This proposed amendment contains the following items (additional information attached): City of San Angelo Operating Budget • RLSS Grant for Health Department • Texas Historical Commission Planning/Feasibility Study Grant • Downtown Streetscape Project • Chase State Office Building Maintenance History: See attached Budget Amendment Request memorandum. Financial Impact: $490,664 (see attached detail on Exhibit A of the Ordinance) Related Vision Item (if applicable): N/A Other Information/Recommendation: Staff recommends approval. Attachments: Ordinance including Exhibit A; Department request memos Presentation: N/A Publication: N/A Reviewed by Service Area Director: Michael Dane, ACM/CFO
  • 278.
    AN ORDINANCE OFTHE CITY OF SAN ANGELO AMENDING THE BUDGET FOR THE FISCAL YEAR BEGINNING OCTOBER 1, 2012, AND ENDING SEPTEMBER 30, 2013, FOR NEW PROJECTS, INCOMPLETE PROJECTS, AND GRANTS. WHEREAS the City of San Angelo has determined that new projects not included in the current budget should begin, and WHEREAS the City of San Angelo has determined that certain budgeted amounts should be amended due to project changes and unforeseen circumstances, and WHEREAS the resources necessary for these changes are available; NOW THEREFORE, BE IT ORDAINED BY THE CITY COUNCIL OF THE CITY OF SAN ANGELO, TEXAS THAT: The City’s budget for fiscal year 2012-2013 be amended by the amounts contained in Exhibit A. INTRODUCED on the 19th day of March, 2013, and APPROVED and ADOPTED on this the 2nd day of April, 2013. CITY OF SAN ANGELO, TEXAS __________________________________ Alvin New, Mayor ATTEST: __________________________________ Alicia Ramirez, City Clerk Approved as to Content and Form: __________________________________ Michael Dane, Assistant City Manager/CFO
  • 279.
    City of SanAngelo Proposed Budget Amendment Exhibit A Total Total Net Fund Revenue Expenditure Benefit/ Number Fund Name Amendment Amendment (Cost) COSA Operating Budget 103 Intergovernmental Fund 47,380 47,380 0 General Debt Service 105 0 220,000 (220,000) Fund 106 South TIRZ Fund 0 93,284 (93,284) 201 State Office Building Fund 0 130,000 (130,000) Totals 47,380 490,664 (443,284)
  • 280.
    City of SanAngelo Proposed Budget Amendment Additional Information Net Benefit/ Project/Need Source of Funding Revenue Expense (Cost) Department of State RLSS Grant Funds Health Services RLSS 22,402 22,402 0 Grant Texas Historical Commission Texas Historical 24,978 24,978 0 Planning/Feasibility Study Grant Commission Grant South TIRZ Fund-Fund Downtown Streetscape Project 0 93,284 (93,284) Balance State Office Building Chase State Office Building Maintenance 0 130,000 (130,000) Fund - Fund Balance General Debt Service 0 220,000 (220,000) Fund – Fund Balance Totals 47,380 490,664 (443,284)
  • 285.
    City of SanAngelo Finance Department Memo Date: February 21, 2013 To: Mayor and Councilmembers From: Laura Brooks, Budget Analyst Sr. Subject: Agenda Item for March 19, 2013 Council Meeting Contact: Morgan Trainer, Finance, 325-653-6291 Caption: Regular Item Public hearing and consideration of approving and adopting a resolution authorizing the adoption of the 2013-2018 Capital Improvement Plan for the City of San Angelo Summary: Attached is the final proposed 2013-2018 Capital Improvement Plan (CIP). The City Council must conduct a public hearing on the proposed Capital Improvement Plan (CIP). The proposed CIP must be published to the internet and a public notice providing the date and time of the public hearing published within two weeks of the CIP being posted and the CIP Transmittal Letter reinforces the objectives of the CIP as a planning tool and not a funding mechanism. The attached resolution is the final step to adopt the 2013-2018 Capital Improvement Plan (CIP). Submitted projects have been reviewed by the CIP committee. History: Preparation of the 2013-2018 CIP began November 20, 2012 with discussion with City Council. Budget staff provided instruction for division managers to prepare CIP projects , December 10, 2012. On December 20 2012, project managers submitted proposed projects. The committee reviewed projects January 31, 2013. Public meetings were held February 7 and 12, 2013. City Council Discussed the 2013-2018 Capital Improvement Plan (CIP) at the strategic planning session February 26, 2013 and at the regular meeting March 5, 2013. Financial Impact: Funding will be discussed during the FY 2013-2014 budget preparation process. Related Vision Item (if applicable): Infrastructure and Financial Visions Other Information/Recommendation: Staff recommendations approving the capital improvement plan and adoption of the resolution. Attachments: Proposed 2013-2018 Capital Improvement Plan, Resolution Presentation: Powerpoint Publication: Notice of this Public Hearing was posted on the website. Reviewed by Service Area Director: Michael Dane, Assistant City Manager/CFO  Page 1
  • 286.
    City of SanAngelo 2013-2018 CAPITAL IMPROVEMENT PLAN
  • 288.
    2013-2018 Capital Improvement Plan City Council Alvin New, Mayor Paul Alexander, SMD #1 Dwain Morrison, SMD #2 Johnny Silvas, SMD #3 Kendall Hirschfeld, SMD #5 Charlotte Farmer, SMD #6 City Management Daniel Valenzuela, City Manager Rick Weise, Assistant City Manager for Community Services Michael Dane, Assistant City Manager/Chief Financial Officer Capital projects are prepared by the staff member identified within each project sheet Capital Improvement Plan preparation: Morgan Trainer, Budget Manager Laura Brooks, Senior Budget Analyst Steven Mahaffey, Senior Budget Analyst Introduction of the Capital Improvement Plan February 21, 2013 Public Hearing March 5, 2013 Plan Adoption March 19, 2013  
  • 289.
    This page wasintentionally left blank
  • 290.
          March 6, 2013        Dear Citizens,    The 2013‐2018 Capital Improvement Plan (CIP) is the seventh annual CIP completed by the City of San Angelo.  The  citizens approved a change to the city’s charter in November 2007 to require the preparation of a CIP every year.    Overview  The plan identifies the capital needs of the city for a five‐year planning period.  The CIP is updated annually to reflect  the changing needs of the community and address any new issues that impact our community. The  CIP  does not  appropriate  funds,  but  supports  the  budget  process  and  the  appropriations  made  through  the  adoption of the budget.  An effective CIP provides for considerable advance notification, planning, evaluation, scope  definition, design, public discussion, cost estimation, and financial planning.    The objectives utilized to develop the CIP are:   To preserve and improve the infrastructure of San Angelo;   To identify and examine current and future infrastructure needs and minimize the financial impact on residents;   To  maximize  the  useful  life  of  capital  investments  by  scheduling  major  renovations  and  modifications  at  the  appropriate time in the life‐cycle of the facility;   To improve financial planning by comparing needs with resources, and estimating future funding issues;  There are many benefits of having a CIP.  First and foremost, it provides an overall perspective for the development  pattern of the city, thus enabling the citizens as well as the City Council and staff to take a long‐range view of their  future activities and responsibilities.  The CIP also highlights the deficiencies of the city and stimulates action to correct  them.    The  plan  promotes  coordination  of  projects  across  City  departments  and  across  overlapping  governmental  jurisdictions.    It  also  allows  City  staff  to  more  effectively  budget  operating  expenditures  each  year  necessary  to  maintain new projects and stabilize personnel demands.  Compliance  City staff together with public input made every effort to ensure the CIP is compliant with the items mandated in the  city charter.  Section 59A (attached) from the city charter defines San Angelo’s capital program.  This language was truly  a cohesive effort drafted by a committee of City staff and citizens.  For example the charter states the plan should be an  annual effort, outlines what content should be included, requires public hearings, and dictates how the plan should be  adopted.    The City Charter sets forth the mandatory elements of a comprehensive capital plan.  Those elements include a    A summary,    long‐term goals of the community,    capital improvement expenditures,    cost estimates,    funding source,    estimated annual operating costs,    how the plan sustains San Angelo,    and performance measures.  1
  • 291.
  • 292.
  • 293.
    This page wasintentionally left blank 4
  • 294.
    STRATEGIC PLANNING MEETINGPRIORITIES (FEBRUARY 26, 2013) 1. Street maintenance / restoration / illustration a. Evaluation i. Assess condition ii. Plan / prioritize iii. Fund iv. Build v. Maintain vi. Continue to repeat – i. through v. b. Street Condition Study i. Obtain funding sources to assist with study, i.e. grants ii. Group all streets and categorize/evaluate by useful life and level of work to be completed: New streets, sealcoat, mill & overlay, and total reconstruct. iii. Based on comprehensive 7 year rotation plan, determine at which level to assign a street, including associated costs iv. Base prioritization on assessed data and future use v. Implement Comprehensive 7 Year Street Plan 1. Plan will decrease overall CIP cost by 1/5 vi. Work closely with Street & Bridge Department to begin maintenance program 2. Stormwater infrastructure 3. Reduce property tax rate a. Transition subsidized projects to self funded b. Utilize additional funds to fund one time projects, i.e. streets, police center, underground stormwater infrastructure c. Steady government growth related to population d. Implemented 10 year goal to decrease property tax from 86.86% to 76%. e. Establish a goal to decrease property tax to 70% and out of the TML Top Ten highest property tax rate for cities over 50K population 5
  • 295.
    4. Revenue Retain/wage/maintainstaffing a. Impact of Cline Shale i. Impact study conducted on Eagle Ford Shale (expands over 20 counties) ii. Projecting increasing sales tax revenues and housing iii. Potential to create 17k jobs within 7 years iv. San Angelo experiencing increased inflationary factors 1. Must insure organization is running efficiently and directing funds to the appropriate projects 5. Manage organization growth a. Steady government growth related to population i. Organization growth where necessary, i.e. public safety 6. Offset value increase with rate reduction a. Per hotel/motel room 7. Tourism: Onetime projects a. Wayfinding i. Establish and implement a uniform plan ii. Utilize HOT to fund b. Ft. Concho i. Established a virtual presentation and accomplish more for tourism, i.e. talking mule or buffalo soldier. c. Ft. Concho maintenance i. Utilize HOT to fund infrastructure d. Coliseum Marquee signage i. Utilize HOT to fund infrastructure e. Other occupancy tax projects f. Reserve / rate stabilization i. Establish reserve funds for major projects, including Hotel Occupancy Tax ii. Establish rate stabilization for known future projects to provide a smooth transition, i.e. landfill g. Grantee accountability i. Establish and implement performance measurements, metrics, and benchmarks ii. Consider long term imaging, incremental increases, image building, continually raising the bar h. Create/pursue an image/vision i. Exceptionalism at all levels 6
  • 296.
    j. Chamber partnership i. Establish and implement performance measurements, metrics, and benchmarks ii. Tangible results iii. Implement a set fee vs. percentage allocation, thereby providing static funds that can be adjusted k. Recruit more events, i.e. drag boat races l. Revenue per room i. Disclose anomalies ii. Measure/track room rate increase impacts 8. Police Department Facility a. Restart momentum i. Establish a budget for facility ii. Consider issuing bond b. Debt capacity update 9. Economic Development a. What to incent? i. Establish criteria on types of business to incentivize 1. Consider preference points to qualify for incentive ii. Put study in action 1. Continue with discipline on the big study; key points into play iii. Assist Chamber to complete marketing plan 1. Tailor focus b. Provide support for local/small business i. Business Resource Center ii. Human Resources support iii. Technical support c. Streamline Housing / building process i. Expedite regulatory process 1. Make the process quicker to accommodating the customer’s needs, but still manage staff, i.e. working overtime ii. Permit time objectives iii. Targeted staffing increases iv. Time studies/objectives v. Productivity benchmarks d. Brownwood/3M Company Inquiry e. Short / long term goals i. Provide assistance to local business to speed up the process ii. Continue with strategic plan process iii. Continue with Chamber’s marketing plan; accountability 7
  • 297.
    f. Economic diversification i. Build existing businesses to handle low or declining economic periods g. Sales tax equity – Online vs. Bricks & Mortar i. Small business online sales ii. Provide service via Business Resource Center iii. Establish a national presence for local businesses h. Transportation i. Air service ii. Regional road issues iii. Ports to Plains i. Re-cap report of the various projects and studies i. Goal progress/ executive summary 1. Dashboard view 2. Requires self discipline to stay on top of these plans a. Lake Nasworthy Study / Gateway Planning 8
  • 298.
    City of San Angelo 2013‐2018 Capital Improvement Plan Summary of Projects Project Type Key: IN= Infrastructure; AP= Airport; COF= City Operation Facilities; CFP‐ Community Facilities & Parks; EN= Environmental Projects; EQ= Equipment; TG= Technology Dedicated/C Project  ommitted  Total Project  Type Division Project Title Project Manager Funding Proposed Funding Source 2013/2014 2014/2015 2015/2016 2016/2017 2017/2018 Costs IN Street & Bridge Mill & Overlay‐ Main Street Clinton Bailey Y General Fund 185,000 185,000 IN Street & Bridge Mill & Overlay ‐ 14th Street Clinton Bailey Y General Fund 403,000 403,000 IN Street & Bridge Mill & Overlay ‐ 19th Street Clinton Bailey Y General Fund 378,000 378,000 Reconstruction of Bell St from Concho River to Old Ballinger  IN Street & Bridge Clinton Bailey N 4,800,000 4,800,000 Hwy Undetermined IN Street & Bridge Reconstruction of Glenna Dr. from Houston Harte to Junius St Clinton Bailey N 1,300,000 1,300,000 Undetermined IN Street & Bridge Reconstruction of Main St. from 19th St. to 26th St. Clinton Bailey N Undetermined 1,800,000 1,800,000 IN Street & Bridge Reconstruction of MLK Blvd. from 25th St. to 29th St. Clinton Bailey N Undetermined 2,500,000 2,500,000 Reconstruction of Southwest Blvd from Sunset South to  IN Street & Bridge Clinton Bailey N 6,500,000 6,500,000 Railroad Tracks Undetermined Reconstruction of 29th St. from Bryant Blvd. to 2018 N.  IN Street & Bridge Clinton Bailey N 2,500,000 2,500,000 Chadbourne Undetermined Engineering  IN Sealcoat Program Clinton Bailey Y 1,800,000 600,000 600,000 600,000 600,000 4,863,000 Services General Fund IN Stormwater Storm Water Quality Improvements Clinton Bailey N Future Stormwater Utility Fee 1,000,000 1,000,000 1,000,000 1,000,000 1,000,000 29,300,000 IN Stormwater Sunset Lake Improvements Clinton Bailey Y Stormwater Utility Fee 700,000 700,000 IN Stormwater Remediation of Drainage Ave P Clinton Bailey Y General Fund 1,300,000 2,000,000 IN Water Utilities Avenue D Water Line Replacement Robert Bluthardt Y Water Fund 75,000 25,000 25,000 125,000 IN  Water Utilities Automated Meter Reading System Ricky Dickson Y Water CIP Fund 1,250,000 1,250,000 7,550,000 IN Water Utilities Clay Pipe Replacements Ricky Dickson Y Water CIP Fund 1,000,000 1,000,000 1,000,000 1,000,000 1,000,000 73,997,896 IN Water Utilities Collector Main Replacements Ricky Dickson Y Wastewater CIP Fund 1,000,000 1,000,000 1,000,000 1,000,000 23,700,000 IN Water Utilities Hickory Water Supply Development Phase I Ricky Dickson Y Water Fund/Type B Sales Tax 37,000,000 30,000,000 120,000,000 IN Water Utilities High Service Pump Station Rehab Ricky Dickson Y Water CIP Fund 3,950,000 IN Water Utilities Lift Station Improvements Ricky Dickson Y Wastewater CIP Fund 200,000 200,000 200,000 200,000 200,000 1,720,000 IN Water Utilities Nasworthy Dam Emergency Spillway Ricky Dickson Y Water CIP Fund 2,000,000 2,000,000 IN Water Utilities Nasworthy Dam Stop Log Ricky Dickson Y Water CIP Fund 750,000 750,000 IN Water Utilities Lake Nasworthy Gate Operators Ricky Dickson Y Water CIP Fund 2,216,000 3,250,000 IN Water Utilities Transmission Line Valves Replacement Ricky Dickson Y Water CIP Fund 500,000 500,000 500,000 3,650,000 IN Water Utilities Transmission Mains Ricky Dickson Y Water CIP Fund 5,100,000 5,300,000 6,000,000 6,150,000 28,190,000 Water CIP Fund, Water Fund,State  IN Water Utilities Twin Buttes Eco‐System Restoration Ricky Dickson Y 1,000,000 Soil & Water Board IN Water Utilities Water Billing & Customer Service Office Remodeling Ricky Dickson Y Water CIP Fund 500,000 1,000,000 IN Water Utilities Water Main Replacements Ricky Dickson Y Water CIP Fund 1,300,000 1,300,000 1,300,000 1,300,000 1,300,000 52,761,509 IN Water Utilities Water Reclamation Plant Improvements Ricky Dickson Y Wastewater CIP Fund 200,000 200,000 200,000 200,000 200,000 1,800,000 IN Water Utilities Water Treatment Plant Equipment Improvements Ricky Dickson Y Water CIP Fund 200,000 400,000 200,000 200,000 200,000 2,200,000 IN Water Utilities Wastewater Service to Existing Developed Areas Ricky Dickson Y Wastewater CIP Fund 17,200,000 IN Traffic Operations Replace School Zone and Crosswalk Equipment Shane Kelton Y 18,000 18,000 18,000 18,000 158,000 Tom Green County Fee IN Traffic Operations Sign Reflectivity Upgrade Shane Kelton Y General Fund 56,550 57,681 58,834 60,011 61,211 577,364 Level 1 Infrastructure Projects Total 60,481,550 52,050,681 15,351,834 13,028,011 8,861,211 402,808,769 AP Airport Apron Joint Seal Luis Elguezabal Y FAA Grant,PFC Fund 54,900 555,555 610,455 AP Airport Runway 3‐21 Lights & Beacon Luis Elguezabal Y FAA Grant,PFC Fund 631,889 AP Airport Airport Terminal Renovation Luis Elguezabal Y 1,110,000 1,110,000 1,110,000 600,862 6,280,241 FAA Grant,PFC Fund,Type B Sales Tax Emergency  COF EOC HVAC Replacement Teresa Covey N 500,000 500,000 Management Undetermined COF Fire Fire Station 4 Reconstruction Brian Dunn N General Fund C.O. 2,580,000 2,580,000 COF Fire Fire Training Facility Brian Dunn N General Fund C.O., Federal Grant 1,400,000 2,600,000 9
  • 299.
    City of San Angelo 2013‐2018 Capital Improvement Plan Summary of Projects Project Type Key: IN= Infrastructure; AP= Airport; COF= City Operation Facilities; CFP‐ Community Facilities & Parks; EN= Environmental Projects; EQ= Equipment; TG= Technology Dedicated/C Project  ommitted  Total Project  Type Division Project Title Project Manager Funding Proposed Funding Source 2013/2014 2014/2015 2015/2016 2016/2017 2017/2018 Costs COF Fort Concho Chase State Office Building Improvements Robert Bluthardt Y State Office Building Fund 200,000 20,000 20,000 20,000 20,000 300,000 COF Police Police Boat Storage Dock Tim Vasquez N Undetermined 75,000 75,000 COF Police Mobile Command Center Storage Facility Tim Vasquez N Undetermined 60,000 60,000 COF Police Police Department Administration Building Tim Vasquez N General Fund, General Fund C.O. 25,775,000 25,910,067 CFP Civic Events Auditorium Renovation Angelica Pena Y Type B Sales Tax 2,314,197 3,750,000 CFP Civic Events Fairgrounds Livestock Barn Angelica Pena Y Type B Sales Tax 1,000,000 CFP Civic Events Coliseum Improvements Angelica Pena N Undetermined 60,000 60,000 CFP Civic Events Coliseum Roof Angelica Pena N Undetermined 545,000 545,000 CFP Civic Events Convention Center Improvements Angelica Pena N Undetermined 83,069 119,900 CFP Fort Concho Fort Concho Barracks 6 New Floor Robert Bluthardt N Undetermined 15,000 15,000 CFP Fort Concho Heating & Cooling Unit Replacements Fort Concho Robert Bluthardt N Undetermined 125,000 20,000 15,000 160,000 CFP Fort Concho Fort Concho Post Bandstand Robert Bluthardt N Undetermined 25,000 25,000 CFP Fort Concho Fort Concho Visitor Center Improvements Robert Bluthardt N Undetermined 100,000 750,000 250,000 400,000 1,500,000 CFP Fort Concho Fort Concho OQ1 Rear Room & Roof Repairs Robert Bluthardt N Undetermined 75,000 75,000 Development  CFP Wayfinding Phases I‐III A.J. Fawver N 100,000 100,000 100,000 300,000 Services Undetermined CFP MPO Neighborhood Pedestrian Improvement Program Doray Hill, Jr. Y 1,000,000 1,000,000 1,000,000 1,000,000 1,000,000 5,000,000 Transportation Grant, General Fund CFP Real Estate/Legal Santa Fe Train Depot Improvements Cindy Preas N Undetermined 21,238 20,000 15,000 22,500 22,500 126,238 CFP Real Estate/Legal Spur Parking Garage Cindy Preas N Undetermined 1,825,000 1,825,000 CFP Parks 29th Street Complex Carl White Y Type B Sales Tax 1,650,000 1,650,000 CFP Recreation Community Aquatics Facility MaryAnn Vasquez Y Type B Sales Tax, Donation 3,262,422 CFP Recreation Recreation Center Air Conditioning MaryAnn Vasquez N Undetermined 500,000 500,000 CFP Recreation Youth Soccer Complex at Glenna St MaryAnn Vasquez Y Type B Sales Tax 270,000 CFP Parks Bradford Neighborhood & School Park Carl White Y Type B Sales Tax 175,000 CFP Parks Brentwood Park Renovation Carl White Y Type B Sales Tax 275,000 275,000 CFP Parks Brown Park Renovation Carl White Y Type B Sales Tax 175,000 175,000 CFP Parks Central Control Irrigation Carl White Y Type B Sales Tax 110,500 CFP Parks Civic League Park Improvements Carl White Y Grant, Donation 115,000 115,000 CFP Parks Fairmount Cemetery Improvements Phase I Carl White N Donation, Undetermined 600,000 600,000 CFP Parks Hilltop Trail Carl White Y 200,000 200,000 Grant, Possible Trust Fund Funding CFP Parks Middle Concho Boat Ramp Carl White Y 471,000 471,000 Grant, Possible Trust Fund Funding CFP Parks Red Arroyo Trail Clinton Bailey Y Grant, Type B Sales Tax, Stormwater  400,000 400,000 4,000,000 Fund, Private Donation CDBG Funds, Type B Sales Tax,  CFP Parks Rio Vista Neighborhood Park Renovation Carl White Y 813,900 Donation CFP Parks Rio Concho Community Park Carl White N Type B Sales Tax, Undetermined 85,000 650,000 CFP Parks Santa Rita Neighborhood Park Renovation Carl White Y Type B Sales Tax, Donation 150,000 150,000 CFP Parks South Concho Boat Ramp Carl White Y 438,600 438,600 Grant, Possible Trust Fund Funding CFP Parks Sunken Garden Park Carl White N Undetermined 275,000 275,000 Concho River Dredging, Bank Stabilization, & Trail  Type B Sales Tax, Grants, Stormwater  EN Parks Carl White Y 15,436,647 Improvements Fund EQ Public Information Public Information Equipment Replacement Anthony Wilson N 19,874 4,668 5,378 47,856 Grant, Undetermined TG Police Public Communications Technology Upgrade Victor Vasquez N Undetermined, General Fund 120,000 517,000 TG Fire Mobile Data Terminals Brian Dunn N Undetermined 182,600 182,600 10
  • 300.
    City of San Angelo 2013‐2018 Capital Improvement Plan Summary of Projects Project Type Key: IN= Infrastructure; AP= Airport; COF= City Operation Facilities; CFP‐ Community Facilities & Parks; EN= Environmental Projects; EQ= Equipment; TG= Technology Dedicated/C Project  ommitted  Total Project  Type Division Project Title Project Manager Funding Proposed Funding Source 2013/2014 2014/2015 2015/2016 2016/2017 2017/2018 Costs Information  TG Server Upgrades John Eades N 25,000 25,000 25,000 25,000 25,000 250,000 Technology General Fund, Undetermined Information  TG IBM Power 7 Server John Eades N General Fund, Undetermined 65,000 65,000 Technology Level 2 Other Projects Total 34,592,781 11,892,465 2,770,278 2,873,917 1,342,500 84,679,315 2013‐2018 Capital Improvement Plan Level 1 & 2 Projects Total 95,074,331 63,943,146 18,122,112 15,901,928 10,203,711 487,488,084 11
  • 301.
    This page wasintentionally left blank 12
  • 302.
    2013-2018 Capital Improvement Plan Infrastructure Projects LEVEL 1 Projects related to Streets, Water, Waste Water, & Storm Water 13
  • 303.
    City of SanAngelo, Texas 2013-2018 Capital Improvement Plan Mill and Overlay of Main St. from Houston Harte to 19th St. Responsible Dept: Engineering Services Project Manager: Clinton Bailey Financial Plan: Prior Budget Projected Years 12/13 13/14 14/15 15/16 16/17 17/18 Future Total $ - - 185,000 - - - - - $ 185,000 Description: Mill and overlay is a street maintenance process whereby the top 1"-3" of existing asphalt pavement is removed with a milling machine and a 1"-3" layer of asphalt is placed with a asphalt paver directly over the milled area. Mill and overlay considered a "high-level" preventative maintenance activity or "low-level" reconstruction effort that falls between sealcoat maintenance and full depth reconstruction with respect to overall cost and project complexity. The success of the mill and overlay process is largely dependent upon the condition of the roadway foundation (base course and subgrade). With the roadway foundation in good condition, a mill and overlay can potentially add 10-15 years to the useful life of the roadway. Supporting planning document(s): Project Cost: Estimated Project-to-Date ROW/Easements/Land - - Design - - Construction 185,000 - Other - - Total $ 185,000 $ - Insert a picture of your proposed project here. Project Schedule: % Complete Click on Insert in the menu bar, then Picture… Design: December 2012 100% then find picture in your files… then double click picture to insert. Implementation: April 2013 0% Funding Sources: Amount General Fund $ 185,000 Operating Budget Impact if Completed: 13/14 14/15 15/16 16/17 17/18 Reduce overall roadway maintenance $ - - - - - Operating Budget Impact if NOT Completed: 13/14 14/15 15/16 16/17 17/18 $ - - - - - Performance Measures: Improve ride quality and reduce future maintenance costs. Notes: Present Value of Future Cash Flows Completing Project $181,551 Not Completing Project Undetermined Location of Project (provide at least one of the following locators for each project location): Address: Street Address City State 1) Main Street San Angelo Texas 14
  • 304.
    City of SanAngelo, Texas 2013-2018 Capital Improvement Plan Mill and Overlay of 14th St. from Chadbourne St. to Main St. Responsible Dept: Engineering Services Project Manager: Clinton Bailey Financial Plan: Prior Budget Projected Years 12/13 13/14 14/15 15/16 16/17 17/18 Future Total $ - - 403,000 - - - - - $ 403,000 Description: Mill and overlay is a street maintenance process whereby the top 1"-3" of existing asphalt pavement is removed with a milling machine and a 1"-3" layer of asphalt is placed with a asphalt paver directly over the milled area. Mill and overlay considered a "high-level" preventative maintenance activity or "low-level" reconstruction effort that falls between sealcoat maintenance and full depth reconstruction with respect to overall cost and project complexity. The success of the mill and overlay process is largely dependent upon the condition of the roadway foundation (base course and subgrade). With the roadway foundation in good condition, a mill and overlay can potentially add 10-15 years to the useful life of the roadway. Supporting planning document(s): Project Cost: Estimated Project-to-Date ROW/Easements/Land - - Design - - Construction 403,000 - Other - - Total $ 403,000 $ - Insert a picture of your proposed project here. Project Schedule: % Complete Click on Insert in the menu bar, then Picture… Design: December 2012 100% then find picture in your files… then double click picture to insert. Implementation: April 2013 0% Funding Sources: Amount General Fund $ 403,000 Operating Budget Impact if Completed: 13/14 14/15 15/16 16/17 17/18 Reduce overall roadway maintenance $ - - - - - Operating Budget Impact if NOT Completed: 13/14 14/15 15/16 16/17 17/18 $ - - - - - Performance Measures: Improve ride quality and reduce future maintenance costs. Notes: Present Value of Future Cash Flows Completing Project $395,486 Not Completing Project Undetermined Location of Project (provide at least one of the following locators for each project location): Address: Street Address City State 1) 14th Street San Angelo Texas 15
  • 305.
    City of SanAngelo, Texas 2013-2018 Capital Improvement Plan Mill and Overlay of 19th St. from Bryant Blvd. West to Concho River Responsible Dept: Engineering Services Project Manager: Clinton Bailey Financial Plan: Prior Budget Projected Years 12/13 13/14 14/15 15/16 16/17 17/18 Future Total $ - - 378,000 - - - - - $ 378,000 Description: Mill and overlay is a street maintenance process whereby the top 1"-3" of existing asphalt pavement is removed with a milling machine and a 1"-3" layer of asphalt is placed with a asphalt paver directly over the milled area. Mill and overlay considered a "high-level" preventative maintenance activity or "low-level" reconstruction effort that falls between sealcoat maintenance and full depth reconstruction with respect to overall cost and project complexity. The success of the mill and overlay process is largely dependent upon the condition of the roadway foundation (base course and subgrade). With the roadway foundation in good condition, a mill and overlay can potentially add 10-15 years to the useful life of the roadway. Supporting planning document(s): Project Cost: Estimated Project-to-Date ROW/Easements/Land - - Design - - Construction 378,000 - Other - - Total $ 378,000 $ - Insert a picture of your proposed project here. Project Schedule: % Complete Click on Insert in the menu bar, then Picture… Design: December 2012 100% then find picture in your files… then double click picture to insert. Implementation: April 2013 0% Funding Sources: Amount General Fund $ 378,000 Operating Budget Impact if Completed: 13/14 14/15 15/16 16/17 17/18 Reduce overall roadway maintenance $ - - - - - Operating Budget Impact if NOT Completed: 13/14 14/15 15/16 16/17 17/18 $ - - - - - Performance Measures: Improve ride quality and reduce future maintenance costs. Notes: Present Value of Future Cash Flows Completing Project $370,952 Not Completing Project Undetermined Location of Project (provide at least one of the following locators for each project location): Address: Street Address City State 1) 19th Street San Angelo Texas 16
  • 306.
    City of SanAngelo, Texas 2013-2018 Capital Improvement Plan Reconstruction of Bell St from Concho River to Old Ballinger Hwy Responsible Dept: Engineering Services Project Manager: Clinton Bailey Financial Plan: Prior Budget Projected Years 12/13 13/14 14/15 15/16 16/17 17/18 Future Total $ - - 4,800,000 - - - - - $ 4,800,000 Description: Full depth reconstruction of Bell St. from Concho River to Old Ballinger Hwy, installation of sidewalks and ADA compliant curb ramps. Supporting planning document(s): Project Cost: Estimated Project-to-Date ROW/Easements/Land - - Design - - Construction 4,800,000 - Other - - Total $ 4,800,000 $ - Insert a picture of your proposed project here. Project Schedule: % Complete Click on Insert in the menu bar, then Picture… Design: 0% then find picture in your files… then double click picture to insert. Implementation: 0% Funding Sources: Amount Undetermined $ 4,800,000 Operating Budget Impact if Completed: 13/14 14/15 15/16 16/17 17/18 Reduce roadway maintenance $ - - - - - Operating Budget Impact if NOT Completed: 13/14 14/15 15/16 16/17 17/18 $ - - - - - Performance Measures: Improve ride quality, provide ADA compliant handicap access, provide pedestrian amenities and reduce future maintenance costs. Notes: Present Value of Future Cash Flows Completing Project $4,710,500 Not Completing Project Undetermined Location of Project (provide at least one of the following locators for each project location): Address: Street Address City State 1) Bell Street San Angelo Texas 17
  • 307.
    City of SanAngelo, Texas 2013-2018 Capital Improvement Plan Reconstruction of Glenna Dr. from Houston Harte to Junius St. Responsible Dept: Engineering Services Project Manager: Clinton Bailey Financial Plan: Prior Budget Projected Years 12/13 13/14 14/15 15/16 16/17 17/18 Future Total $ - - - - - 1,300,000 - - $ 1,300,000 Description: Full depth reconstruction of Glenna Dr. from Houston Harte to Junius St., installation of sidewalks and ADA compliant curb ramps. Supporting planning document(s): Project Cost: Estimated Project-to-Date ROW/Easements/Land - - Design - - Construction 1,300,000 - Other - - Total $ 1,300,000 $ - Insert a picture of your proposed project here. Project Schedule: % Complete Click on Insert in the menu bar, then Picture… Design: 0% then find picture in your files… then double click picture to insert. Implementation: 0% Funding Sources: Amount Undetermined $ 1,300,000 Operating Budget Impact if Completed: 13/14 14/15 15/16 16/17 17/18 Reduce roadway maintenance $ - - - - - Operating Budget Impact if NOT Completed: 13/14 14/15 15/16 16/17 17/18 $ - - - - - Performance Measures: Improve ride quality, provide ADA compliant handicap access, provide pedestrian amenities and reduce future maintenance costs. Notes: Present Value of Future Cash Flows Completing Project $1,205,658 Not Completing Project Undetermined Location of Project (provide at least one of the following locators for each project location): Address: Street Address City State 1) Glenna Drive San Angelo Texas 18
  • 308.
    City of SanAngelo, Texas 2013-2018 Capital Improvement Plan Reconstruction of Main St. from 19th St. to 26th St. Responsible Dept: Engineering Services Project Manager: Clinton Bailey Financial Plan: Prior Budget Projected Years 12/13 13/14 14/15 15/16 16/17 17/18 Future Total $ - - - - - - 1,800,000 - $ 1,800,000 Description: Full depth reconstruction of Main St. from 19th St. to 26th St., installation of sidewalks and ADA compliant curb ramps. Supporting planning document(s): Project Cost: Estimated Project-to-Date ROW/Easements/Land - - Design - - Construction 1,800,000 - Other - - Total $ 1,800,000 $ - Insert a picture of your proposed project here. Project Schedule: % Complete Click on Insert in the menu bar, then Picture… Design: 0% then find picture in your files… then double click picture to insert. Implementation: 0% Funding Sources: Amount Undetermined $ 1,800,000 Operating Budget Impact if Completed: 13/14 14/15 15/16 16/17 17/18 Reduce roadway maintenance $ - - - - - Operating Budget Impact if NOT Completed: 13/14 14/15 15/16 16/17 17/18 $ - - - - - Performance Measures: Improve ride quality, provide ADA compliant handicap access, provide pedestrian amenities and reduce future maintenance costs. Notes: Present Value of Future Cash Flows Completing Project $1,638,246 Not Completing Project Undetermined Location of Project (provide at least one of the following locators for each project location): Address: Street Address City State 1) Main Street San Angelo Texas 19
  • 309.
    City of SanAngelo, Texas 2013-2018 Capital Improvement Plan Reconstruction of MLK Blvd. from 25th St. to 29th St. Responsible Dept: Engineering Services Project Manager: Clinton Bailey Financial Plan: Prior Budget Projected Years 12/13 13/14 14/15 15/16 16/17 17/18 Future Total $ - - - - 2,500,000 - - - $ 2,500,000 Description: Full depth reconstruction of MLK Blvd. from 25th St. to 29th St., installation of sidewalks and ADA compliant curb ramps. Supporting planning document(s): Project Cost: Estimated Project-to-Date ROW/Easements/Land - - Design - - Construction - - Other - - Total $ - $ - Insert a picture of your proposed project here. Project Schedule: % Complete Click on Insert in the menu bar, then Picture… Design: 0% then find picture in your files… then double click picture to insert. Implementation: 0% Funding Sources: Amount Undetermined $ 2,500,000 Operating Budget Impact if Completed: 13/14 14/15 15/16 16/17 17/18 Reduce roadway maintenance $ - - - - - Operating Budget Impact if NOT Completed: 13/14 14/15 15/16 16/17 17/18 $ - - - - - Performance Measures: Improve ride quality, provide ADA compliant handicap access, provide pedestrian amenities and reduce future maintenance costs. Notes: Present Value of Future Cash Flows Completing Project $2,362,748 Not Completing Project Undetermined Location of Project (provide at least one of the following locators for each project location): Address: Street Address City State 1) Martin Luther King Blvd. San Angelo Texas 20
  • 310.
    City of SanAngelo, Texas 2013-2018 Capital Improvement Plan Reconstruction of Southwest Blvd from Sunset South to Railroad Tracks Responsible Dept: Engineering Services Project Manager: Clinton Bailey Financial Plan: Prior Budget Projected Years 12/13 13/14 14/15 15/16 16/17 17/18 Future Total $ - - - 6,500,000 - - - - $ 6,500,000 Description: Full depth reconstruction of Southwest Blvd from Sunset south to railroad tracks, installation of sidewalks and ADA compliant curb ramps. Supporting planning document(s): Project Cost: Estimated Project-to-Date ROW/Easements/Land - - Design - - Construction 6,500,000 - Other - - Total $ 6,500,000 $ - Insert a picture of your proposed project here. Project Schedule: % Complete Click on Insert in the menu bar, then Picture… Design: 0% then find picture in your files… then double click picture to insert. Implementation: 0% Funding Sources: Amount Undetermined $ 6,500,000 Operating Budget Impact if Completed: 13/14 14/15 15/16 16/17 17/18 Reduce roadway maintenance $ - - - - - Operating Budget Impact if NOT Completed: 13/14 14/15 15/16 16/17 17/18 $ - - - - - Performance Measures: Improve ride quality, provide ADA compliant handicap access, provide pedestrian amenities and reduce future maintenance costs. Notes: Present Value of Future Cash Flows Completing Project $6,259,865 Not Completing Project Undetermined Location of Project (provide at least one of the following locators for each project location): Address: Street Address City State 1) Southwest Blvd San Angelo Texas 21
  • 311.
    City of SanAngelo, Texas 2013-2018 Capital Improvement Plan Reconstruction of 29th St. from Bryant Blvd. to N. Chadbourne Responsible Dept: Engineering Services Project Manager: Clinton Bailey Financial Plan: Prior Budget Projected Years 12/13 13/14 14/15 15/16 16/17 17/18 Future Total $ - - - - - - 2,500,000 - $ 2,500,000 Description: Full depth reconstruction of29th St. from Bryant Blvd. to 2018 N. Chadbourne, installation of sidewalks and ADA compliant curb ramps. Supporting planning document(s): Project Cost: Estimated Project-to-Date ROW/Easements/Land - - Design - - Construction 2,500,000 - Other - - Total $ 2,500,000 $ - Insert a picture of your proposed project here. Project Schedule: % Complete Click on Insert in the menu bar, then Picture… Design: 0% then find picture in your files… then double click picture to insert. Implementation: 0% Funding Sources: Amount Undetermined $ 2,500,000 Operating Budget Impact if Completed: 13/14 14/15 15/16 16/17 17/18 Reduce roadway maintenance $ - - - - - Operating Budget Impact if NOT Completed: 13/14 14/15 15/16 16/17 17/18 N/A $ - - - - - Performance Measures: Improve ride quality, provide ADA compliant handicap access, provide pedestrian amenities and reduce future maintenance costs. Notes: Present Value of Future Cash Flows Completing Project $2,275,342 Not Completing Project Undetermined Location of Project (provide at least one of the following locators for each project location): Address: Street Address City State 1) 29th Street San Angelo Texas 22
  • 312.
    City of SanAngelo, Texas 2013-2018 Capital Improvement Plan Sealcoat Program Responsible Dept: Engineering Services Project Manager: Clinton Bailey Financial Plan: Prior Budget Projected Years 12/13 13/14 14/15 15/16 16/17 17/18 Future Total 663,000 1,800,000 600,000 600,000 600,000 600,000 $ 4,863,000 Description: Sealcoat is the application of asphalt and aggregate over existing asphalt roadway surfaces for the purpose of sealing surface cracks for the protection of the roadway foundation. The foundation of a roadway accounts for approximately 67% of the total cost of a roadway. Sealcoat is part of the City's preventative maintenance program and must be done to realize the full useful life of existing asphalt roadways throughout the City. Sealcoat should be applied to asphalt roadways at intervals not to exceed 8 years. Supporting planning document(s): Project Cost: Estimated Project-to-Date ROW/Easements/Land - - Design - - Construction 1,800,000 - Other - - Total $ 1,800,000 $ - Insert a picture of your proposed project here. Project Schedule: % Complete Click on Insert in the menu bar, then Picture… Design: February 2013 50% then find picture in your files… then double click picture to insert. Implementation: September 2013 0% Funding Sources: Amount General Fund $ 1,800,000 Undetermined $ - Operating Budget Impact if Completed: 13/14 14/15 15/16 16/17 17/18 Reduce routine maintenance costs associated with reparing $ - - - - - cracks and potholes created by severe cracking Operating Budget Impact if NOT Completed: 13/14 14/15 15/16 16/17 17/18 Increase routine maintenance costs associated with $ - - - - - repairing cracks and potholes created by severe cracking Performance Measures: Improve ride quality, reduce future maintenance costs and extend the need for expensive long term reconstruction costs. Notes: Present Value of Future Cash Flows Completing Project $4,676,871 Not Completing Project Undetermined Location of Project (provide at least one of the following locators for each project location): Address: Street Address City State 1) City Wide San Angelo Texas 23
  • 313.
    City of SanAngelo, Texas 2013-2018 Capital Improvement Plan Storm Water Quality Improvement Projects Responsible Dept: Engineering Services Project Manager: Clinton Bailey Financial Plan: Prior Budget Projected Years 12/13 13/14 14/15 15/16 16/17 17/18 Future Total $ - 700,000 1,000,000 1,000,000 1,000,000 1,000,000 1,000,000 23,300,000 $ 29,300,000 Description: Construction of projects to address specific stormwater quality issues within major drainage-ways throughout San Angelo that have been identified through the analysis and modeling of data collected by stormwater monitoring stations. Supporting planning document(s): City of San Angelo Stormwater Management Plan and associated City Council approved stormwater budget. Project Cost: Estimated Project-to-Date ROW/Easements/Land - - Design - - Construction 30,000,000 - Other - - Total $ 30,000,000 $ - Insert a picture of your proposed project here. Click on Insert in Project Schedule: % Complete the menu bar, then Object… Click on the tab Create from File, Design: 0% then click Browse… Browse to your picture, then click Insert and Ok. Implementation: 2013 0% Funding Sources: Amount Future stormwater utility fee $ 30,000,000 Operating Budget Impact if Completed: 13/14 14/15 15/16 16/17 17/18 Operations and Maintenance $ 50,000 50,000 50,000 50,000 50,000 Operating Budget Impact if NOT Completed: 13/14 14/15 15/16 16/17 17/18 No impact $ - - - - - Performance Measures: A reduction in the measured levels of pollution within drainage ways and rivers throughout and downstream of San Angelo. Notes: Present Value of Future Cash Flows Completing Project $26,524,213 Not Completing Project Undetermined Location of Project (provide at least one of the following locators for each project location): Address: Street Address City State 1) City wide San Angelo Texas 24
  • 314.
    City of SanAngelo, Texas 2013-2018 Capital Improvement Plan Storm Water Quality Improvement Projects - Sunset Lake Improvements Responsible Dept: Engineering Services Project Manager: Clinton Bailey Financial Plan: Prior Budget Projected Years 12/13 13/14 14/15 15/16 16/17 17/18 Future Total $ - - 700,000 - $ 700,000 Description: Sunset Lake acts as a stormwater retention/detention pond. Sampling and analysis through the City's stormwater quality monitoring program has resulted in the determination that stormwater discharges into Sunset Lake contain a significant amount of suspended solids (sediment) and dissolved solids (primarily nitrogen and phosphorus from fertilizer). Sunset Lake is no longer efficient in removing these contaminants because sediment deposits have caused it to become "silted in". Shallow water depth and nutrient rich water and sediment result in the lake becoming covered with moss and other aquatic vegetation during the summer months. This vegetation uses all of the available oxygen in the water which has resulted in several fish kills over the last several years and a continuous odor problem. The average depth of Sunset Lake is approximately four (4) feet. This project would increase the depth of the lake to its original depth of approximately 8 feet and add components making more efficient at removing contaminants from stormwater. Supporting planning document(s): City of San Angelo Stormwater Management Plan and associated City Council approved stormwater budget. Project Cost: Estimated Project-to-Date ROW/Easements/Land - - Design - - Construction 700,000 - Other - - Total $ 700,000 $ - Insert a picture of your proposed project here. Click on Insert Project Schedule: % Complete in the menu bar, then Object… Click on the tab Create from Design: 2013 10% File, then click Browse… Browse to your picture, then click Insert and Implementation: 2014 0% Ok. Funding Sources: Amount Stormwater Utility Fee $ 700,000 Operating Budget Impact if Completed: 13/14 14/15 15/16 16/17 17/18 Cost associated with routine maintenance which includes $ - - - - 10,000 10 000 draining Sunset Lake and removing sediment and debris every five years. Operating Budget Impact if NOT Completed: 13/14 14/15 15/16 16/17 17/18 Cost associated with removing vegetation debris from Sunset $ 5,000 5,000 5,000 5,000 5,000 Lake. Performance Measures: A reduction in the measured levels of pollution within drainage ways and rivers throughout and downstream of San Angelo. Notes: Design is being done in-house, therefore there is no separate cost estimate. Present Value of Future Cash Flows Completing Project $683,241 Not Completing Project $28,635 Location of Project (provide at least one of the following locators for each project location): Address: Street Address City State 1) Between Loop 306 and Sunset Dr./Huntington San Angelo Texas 2) and Brook Hollow Ln. 25
  • 315.
    City of SanAngelo, Texas 2013-2018 Capital Improvement Plan Remediation of Drainage Issue: West Ave. P at Bryant Blvd. Responsible Division: Stormwater Project Manager: Clinton Bailey Financial Plan: Prior Budget Projected Years 12/13 13/14 14/15 15/16 16/17 17/18 Future Total $ - 700,000 1,300,000 - - - - $ 2,000,000 Description: During storm events, an excessive amount of street flow occurs across Bryant Blvd. flowing down Ave. P. The existing culverts under Bryant discharge directly onto Ave. P, and after crossing Bryant, the flow continues to the east along Ave P, cuts through an alley between Ave P and Q, the continues south in a channel between Irving St. and Chadbourne St. until in reaches the Red Arroyo. Remediation of this drainage problem consists of the construction of drainage improvements including street re-grading, culvert modification and subsurface drainage system installation. Supporting planning document(s): Project Cost: Estimated Project-to-Date ROW/Easements/Land 50,000 - Design - - Construction 1,950,000 - Other - - Total $ 2,000,000 $ - Insert a picture of your proposed project here. Click on Insert in the menu bar, then Object… Project Schedule: % Complete Click on the tab Create from File, Design: 100% then click Browse… Implementation: 0% Browse to your picture, then click Insert and Ok. Funding Sources: Amount General Fund $ 2,000,000 Undetermined $ - Operating Budget Impact if Completed: 13/14 14/15 15/16 16/17 17/18 No impact $ - - - - - Operating Budget Impact if NOT Completed: 13/14 14/15 15/16 16/17 17/18 No impact $ - - - - - Performance Measure: Reduce flood hazards to protect property and the health, safety and welfare of the public. Notes: Present Value of Future Cash Flows Completing Project $1,975,761 Not Completing Project Undetermined Location of Project (provide at least one of the following locators for each project location): Address: Street Address City State 1) W. Ave. P at Bryant San Angelo Texas 26
  • 316.
    City of SanAngelo, Texas 2013-2018 Capital Improvement Plan Avenue D Water Line Replacement Responsible Dept: Water Utilities Project Manager: Robert Bluthardt Financial Plan: Prior Budget Projected Years 12/13 13/14 14/15 15/16 16/17 17/18 Future Total $ - - 75,000 25,000 25,000 - - - $ 125,000 Description: The water lines behind Officers' Row are ancient, possibly dating to the late 1800s! The water has poor pressure and a foul smell and objectionable appearance. It poses long-term challenges to appliances and plumbing fixtures. Staff recommends a full replacement of the lines. These lines serve several critical buildings that serve our VIP guests (OQ 1), our visitors (OQ 3 and OQ 4), our renters and events (OQ 8) and staff (OQ 2, OQ 7 & O Q 9). Supporting planning document(s): Project Cost: Estimated Project-to-Date ROW/Easements/Land - - Design - - Construction 125,000 - Other - - Total $ 125,000 $ - Insert a picture of your proposed project here. Click on Insert in the menu bar, then Object… Project Schedule: % Complete Click on the tab Create from File, Design: 1 month 0% then click Browse… Implementation 1 month 0% Browse to your picture, then click Insert and Ok. Funding Sources: Amount Water Fund $ 125,000 Operating Budget Impact if Completed: 13/14 14/15 15/16 16/17 17/18 Longer lasting hot water heaters and other appliances. $ 1,000 1,500 2,500 - - materials, Less expenses for chemicals and cleaning materials noted by these figures. Operating Budget Impact if NOT Completed: 13/14 14/15 15/16 16/17 17/18 Potential expenses for interior appliances and fixtures; $ 1,500 2,000 2,500 - - loss of income from rental buildings due to poor public perception of site Performance Measures: Increased Rentals; Fewer Complaints; Fewer Appliance/Fixture Replacements Notes: The fort board and staff have consistently ranked the water service and quality on this side of the fort as a major concern. The improved water service is vital to the fort's success in ongoing programing and public service. It will also contribute to the better functioning of these structures. Present Value of Future Cash Flows Completing Project $126,094 Not Completing Project $5761 Location of Project (provide at least one of the following locators for each project location): Address: Street Address City State 1) 100 & 200 Block/ East Ave. D San Angelo Texas 27
  • 317.
    City of SanAngelo, Texas 2013-2018 Capital Improvement Plan Automated Meter Reading System (AMR) Responsible Dept: Water Utilities Project Manager: Ricky Dickson Financial Plan: Prior Budget Projected Years 12/13 13/14 14/15 15/16 16/17 17/18 Future Total $ 3,750,000 1,300,000 1,250,000 1,250,000 - - - - $ 7,550,000 Description: There are approximately 33,000 water meters in the City's water system. The existing meters will be replaced or upgraded with electronic meter registering equipment. Meter readings will be transmitted automatically through a wireless network to the utility billing office. The system will eliminate the need to manually read meters. Customer service will be improved by having timely and accurate meter information and leak detection monitoring which can notify a customer automatically of unusual water usage. Existing meter readers will be reassigned to system maintenance in the distribution system. Supporting planning document(s): Project Cost: Estimated Project-to-Date ROW/Easements/Land - - Design - - Construction 7,500,000 4,332,815 Other - - Total $ 7,500,000 $ 4,332,815 Insert a picture of your proposed project here. Click on Insert in the menu bar, then Object… Project Schedule: % Complete Click on the tab Create from File, Design: then click Browse… Implementation: 2011 65% Browse to your picture, then click Insert and Ok. Funding Sources: Amount Water CIP Fund $ 7,500,000 Operating Budget Impact if Completed: 13/14 14/15 15/16 16/17 17/18 Rreduction of two meter reader positions $ (44,000) (45,000) (46,000) (46,000) (46,000) Operating Budget Impact if NOT Completed: 13/14 14/15 15/16 16/17 17/18 No impact $ - Performance Measure: Meter readings will be obtained each month on a fixed date allowing for improved billing of the account. Notes: A total of 21,288 meters have been converted to AMR. 5,600 AMR units or in stock to be installed. Present Value of Future Cash Flows Completing Project $3,515,993 Not Completing Project Undetermined Location of Project (provide at least one of the following locators for each project location): Address: Street Address City State 1) City wide San Angelo Texas 28
  • 318.
    City of SanAngelo, Texas 2013-2018 Capital Improvement Plan Clay Pipe Replacements Responsible Dept: Water Utilities Project Manager: Ricky Dickson Financial Plan: Prior Budget Projected Years 12/13 13/14 14/15 15/16 16/17 17/18 Future Total $ 2,000,000 997,896 1,000,000 1,000,000 1,000,000 1,000,000 1,000,000 66,000,000 $ 73,997,896 Description: Clay sewer mains were the industry standard prior to the 1980's. It is a strong but brittle pipe which does not perform well with soil movement. Highly susceptible to root intrusion, inflow, cracking and clogging. Traditional joints are not considered water or root proof. These mains are aging rapidly and often fail causing overflows. These overflows are monitored by the TCEQ and EPA and environmental fines can be assessed. The program is a continual capital replacement program in which aged and failing mains will be replaced on a condition and age priority. Supporting planning document(s): Project Cost: Estimated Project-to-Date ROW/Easements/Land - - Design - - Construction 74,000,000 2,000,000 Other - - Total $ 74,000,000 $ 2,000,000 Project Schedule: % Complete Design: In-house 100% Implementation: ongoing 3% Funding Sources: Amount Water CIP Fund $ 74,000,000 Operating Budget Impact if Completed: 13/14 14/15 15/16 16/17 17/18 No impact $ - - - - - Operating Budget Impact if NOT Completed: 13/14 14/15 15/16 16/17 17/18 Increased cost for repairs to mains and manholes $ 20,000 20,000 25,000 25,000 25,000 Performance Measures: Approximately 15,000 ft. of pipe will be replaced each year. Notes: Identification and selection of projects underway. First project was bid in 2010. Present Value of Future Cash Flows Completing Project $64,673,971 Not Completing Project $108,455 Location of Project (provide at least one of the following locators for each project location): Address: Street Address City State 1) City wide San Angelo Texas 29
  • 319.
    City of SanAngelo, Texas 2013-2018 Capital Improvement Plan Collector Main Replacements Responsible Dept: Water Utilities Project Manager: Ricky Dickson Financial Plan: Prior Budget Projected Years 12/13 13/14 14/15 15/16 16/17 17/18 Future Total $ 12,700,000 7,000,000 1,000,000 1,000,000 1,000,000 1,000,000 - - $ 23,700,000 Description: Replacement of aging and failing sewer collector mains. Sewer collector mains are generally larger than 12 inches in diameter and serve large areas of the population. Many of these large aged lines are concrete. Concrete mains are highly susceptible to corrosive gases and the pipes degrade to failure. Failure of these lines cause large service area disruptions and environmental fines can be substantial. This is a long term continual project. As the aged mains are replaced, newer mains are aging to the point of potential failure. In addition, growth of the City places ever increasing loads on these lines making the continued reliable service even more critical. As the City grows many of these mains will need to be replaced with larger mains or additional mains to handle service loads. Supporting planning document(s): Wastewater collection system master plan Project Cost: Estimated Project-to-Date ROW/Easements/Land - - Design - - Construction 23,700,000 12,700,000 Other - - Total $ 23,700,000 $ 12,700,000 Project Schedule: % Complete Design: In-house 100% Implementation: 2011 54% Funding Sources: Amount Wastewater CIP Fund $ 23,700,000 Operating Budget Impact if Completed: 13/14 14/15 15/16 16/17 17/18 No impact $ - - - - - Operating Budget Impact if NOT Completed: 13/14 14/15 15/16 16/17 17/18 Increased repairs of old mains $ 15,000 15,000 20,000 20,000 20,000 Performance Measures: About 10,000 ft of 42" main were installed under the 2007 contract and about 7,300 ft of 30" main was replaced in the 2010 contract. Notes: 42" on Christoval Rd complete December 2008. 36" along Rio Concho Dr. were designed and bid in 2010. Present Value of Future Cash Flows Completing Project $10,816,939 Not Completing Project $84,819 Location of Project (provide at least one of the following locators for each project location): Address: Street Address City State 1) 42" main-1800 Christoval Rd. San Angelo Texas 2) 30' MAIN-1002 Rio Concho Dr. 30
  • 320.
    City of SanAngelo, Texas 2013-2018 Capital Improvement Plan Hickory Water Supply Development Phase I Responsible Division: Water Utilities Project Manager: Ricky Dickson Financial Plan: Prior Budget Projected Years 12/13 13/14 14/15 15/16 16/17 17/18 Future Total $ 18,000,000 35,000,000 37,000,000 30,000,000 - - - - $ 120,000,000 Description: Development of the Hickory Water Supply will provide the city with an underground water supply. The project will be developed in three phases. Phase I will begin in 2011 and be operational by 2014. It will consist of installation of pumps in 9 existing wells, construction of well field collector pipelines, construction of a booster pump station at the well field, construction of about 60 miles of 30 inch transmission main from the well field to the city and construction of a treatment facility. Supporting planning document(s): Project Cost: Estimated Project-to-Date ROW/Easements/Land - - Design 17,000,000 17,000,000 Construction 103,000,000 1,000,000 Other - - Total $ 120,000,000 $ 18,000,000 Insert a picture of your proposed project here. Click on Insert in the menu bar, then Object… Project Schedule: % Complete Click on the tab Create from File, Design: 2011 100% then click Browse… Implementation:2013 0% Browse to your picture, then click Insert and Ok. Funding Sources: Amount Water Fund $ 94,500,000 Type B sales tax $ 25,500,000 Operating Budget Impact if Completed: 13/14 14/15 15/16 16/17 17/18 Undetermined $ - - - - - Operating Budget Impact if NOT Completed: 13/14 14/15 15/16 16/17 17/18 Undetermined $ - - - - - Performance Measure: Phase I of the project will provide the city with 6 million gallons per day, about 6,700 acre-feet per year of water. Notes: Well field collector pipeline on existing wells is complete. 30 inch transmission main is 60% complete. Booster Pump Station is on schedule. Present Value of Future Cash Flows Completing Project $100,201,794 Not Completing Project Undetermined Location of Project (provide at least one of the following locators for each project location): Address: Street Address City State 1) Melvin Texas 31
  • 321.
    City of SanAngelo, Texas 2013-2018 Capital Improvement Plan High Service Pump Station Rehabilitation Responsible Dept: Water Utilities Project Manager: Ricky Dickson Financial Plan: Prior Budget Projected Years 12/13 13/14 14/15 15/16 16/17 17/18 Future Total $ - 3,950,000 - - - - - - $ 3,950,000 Description: The High Service Pump Station consists of 6 pumps which pump water from the Water Treatment Plant into the distribution system and tanks throughout the City. This station is critical to the continual delivery of water to the citizens and customers of the City of San Angelo. Pumps 1 & 2 are in a 1940's era station and the pumps have been in service since that time. Pumps 3 thru 6 were installed in the 1960's and have been replaced with new pumps over the last 5 years. Pumps 1 and 2 need to be completely replaced and the electrical equipment on pumps 3 thru 6 needs to be replaced. Supporting planning document(s): Project Cost: Estimated Project-to-Date ROW/Easements/Land - - Design - - Construction 3,950,000 2,961,233 Other - - Total $ 3,950,000 $ 2,961,233 Insert a picture of your proposed project here. Click on Insert in Project Schedule: % Complete the menu bar, then Object… Click on the tab Create from File, Design: 100% then click Browse… Browse to your picture, then click Insert and Ok. Implementation: 2012-2013 75% Funding Sources: Amount Water CIP Fund $ 3,950,000 Operating Budget Impact if Completed: 13/14 14/15 15/16 16/17 17/18 No impact $ - Operating Budget Impact if NOT Completed: 13/14 14/15 15/16 16/17 17/18 Increased repairs to pumps and motor $ 30,000 30,000 30,000 30,000 30,000 Performance Measures: High Service Pump Station #1 is substantially complete. Replace electrical equipment on remaining pumps still remains to be completed. Notes: Present Value of Future Cash Flows Completing Project $3,950,000 Not Completing Project Undetermined Location of Project (provide at least one of the following locators for each project location): Address: Street Address City State 1) 327 E. Ave I San Angelo Texas 32
  • 322.
    City of SanAngelo, Texas 2013-2018 Capital Improvement Plan Lift Station Improvements Responsible Dept: Water Utilities Project Manager: Ricky Dickson Financial Plan: Prior Budget Projected Years 12/13 13/14 14/15 15/16 16/17 17/18 Future Total $ 320,000 200,000 200,000 200,000 200,000 200,000 200,000 200,000 $ 1,720,000 Description: The City of San Angelo has 48 lift stations and 151 grinder stations that it operates and maintains. Each year several stations are added based on City growth. These pump stations are mostly mechanical and electrical in nature and operate in highly corrosive environments. The expected operating life of pumps is 5 years and that is with consistent maintenance. This program is intended to continually replace pumps and electrical components for continued reliable service. Failure of these systems affects regional areas of population and can result in sewer overflows and possible flooding of customer facilities. The program will also include the addition of telemetry equipment at the lift stations to provide for 24 hour per day remote monitoring of the lift stations for and alarms or problems. Supporting planning document(s): Wastewater collection system master plan Project Cost: Estimated Project-to-Date ROW/Easements/Land - - Design - - Construction 1,720,000 320,000 Other - - Total $ 1,720,000 $ 320,000 Project Schedule: % Complete Design: In-house 100% Implementation: ongoing 20% Funding Sources: Amount Wastewater CIP Fund $ 1,720,000 Operating Budget Impact if Completed: 13/14 14/15 15/16 16/17 17/18 No impact $ - - - - - Operating Budget Impact if NOT Completed: 13/14 14/15 15/16 16/17 17/18 Increased cost for maintenance of lift stations $ 35,000 35,000 40,000 40,000 40,000 Performance Measures: Rehabilitation work will be done on about 3 stations each year. Notes: Continual capital replacement program for lift station pumps and electrical systems through out the year. Present Value of Future Cash Flows Completing Project $1,324,049 Not Completing Project $179,361 Location of Project (provide at least one of the following locators for each project location): Address: Street Address City State 1) City wide San Angelo Texas 33
  • 323.
    City of SanAngelo, Texas 2013-2018 Capital Improvement Plan Nasworthy Dam Emergency Spillway Responsible Dept: Water Utilities Project Manager: Ricky Dickson Financial Plan: Prior Budget Projected Years 12/13 13/14 14/15 15/16 16/17 17/18 Future Total $ - - - 2,000,000 - - - - $ 2,000,000 Description: A portion of the earthen embankment section along the southern portion of Nasworthy Dam is designed to serve as an emergency spillway for the dam. The emergency spillway consists of two lowered sections of the dam's embankment which would be overtopped when discharges occur. The earthen spillways however do not have any protection from erosion of a discharge, the result which would be a wash out and failure of the dam section. The spillways need to be modified to withstand overtopping flows with reinforced concrete paving and a 500 ft. diversion dike and channel downstream of the dam to protect the downstream toe of the dam. Supporting planning document(s): Project Cost: Estimated Project-to-Date ROW/Easements/Land - - Design - - Construction 2,000,000 - Other - - Total $ 2,000,000 $ - Insert a picture of your proposed project here. Click on Insert in Project Schedule: % Complete the menu bar, then Object… Click on the tab Create from File, Design: 0% then click Browse… Browse to your picture, then click Insert and Ok. Implementation: 2013 0% Funding Sources: Amount Water CIP Fund $ 2,000,000 Operating Budget Impact if Completed: 13/14 14/15 15/16 16/17 17/18 No impact $ - - - - - Operating Budget Impact if NOT Completed: 13/14 14/15 15/16 16/17 17/18 No impact $ - - - - - Performance Measures: Modification of the emergency spillways will bring the facility into compliance with TCEQ dam design standards. Notes: Present Value of Future Cash Flows Completing Project $1,926,112 Not Completing Project Undetermined Location of Project (provide at least one of the following locators for each project location): Address: Street Address City State 1) 1900 Beaty Rd. San Angelo Texas 34
  • 324.
    City of SanAngelo, Texas 2013-2018 Capital Improvement Plan Nasworthy Dam Stop Log System Responsible Dept: Water Utilities Project Manager: Ricky Dickson Financial Plan: Prior Budget Projected Years 12/13 13/14 14/15 15/16 16/17 17/18 Future Total $ - - - - 750,000 - - - $ 750,000 Description: Stop logs are a gate system that is used to isolate a radial gate on the dam for servicing or to stop water discharge through the gate bay in the event of a failure of a radial gate. The dam currently has a full length slide gate which is installed in the gate bay to isolate a gate. The slide gate must be moved by a large crane from the downstream side of the dam and can only be installed when the radial gate is closed. With this system, there is no way to install a stop gate when water is flowing through a radial gate bay. A new stop log system is needed whereby the stop logs can be installed from the bridge deck with flow going through the gate bay. Supporting planning document(s): Project Cost: Estimated Project-to-Date ROW/Easements/Land - - Design - - Construction 750,000 - Other - - Total $ 750,000 $ - Insert a picture of your proposed project here. Click on Insert in Project Schedule: % Complete the menu bar, then Object… Click on the tab Create from File, Design: 0% then click Browse… Browse to your picture, then click Insert and Ok. Implementation: 2013 0% Funding Sources: Amount Water CIP Fund $ 750,000 Operating Budget Impact if Completed: 13/14 14/15 15/16 16/17 17/18 No impact $ - - - - - Operating Budget Impact if NOT Completed: 13/14 14/15 15/16 16/17 17/18 No impact $ - - - - - Performance Measures: The stop log system will allow a gate on the dam to be isolated in an emergency situation Notes: Present Value of Future Cash Flows Completing Project $708,824 Not Completing Project Undetermined Location of Project (provide at least one of the following locators for each project location): Address: Street Address City State 1) 1900 Beaty Rd. San Angelo Texas 35
  • 325.
    City of SanAngelo, Texas 2013-2018 Capital Improvement Plan Lake Nasworthy Gate Operators Responsible Dept: Water Utilities Project Manager: Ricky Dickson Financial Plan: Prior Budget Projected Years 12/13 13/14 14/15 15/16 16/17 17/18 Future Total $ - 1,034,000 2,216,000 - - - - - $ 3,250,000 Description: Nasworthy Dam has 15 radial gates that are used to release flood waters through the dam. The gates are operated by two mobile operators that are mounted on carts which are pulled between gates. The operators are original equipment from when the dam was constructed in 1929. The average time to set up, open a gate and move to the next gate is 25 minutes. Based on the gate operating time needed to pass the probable maximum local flood for the reservoir, the current operating speed is not adequate to keep floodwaters from overtopping the gates. The proposed project will install a permanent operating winch on each gate. This will allow multiple gates to be operated within the time needed to pass the design flood. The improvements will bring the gate operations into compliance with TCEQ dam regulations. Supporting planning document(s): Project Cost: Estimated Project-to-Date ROW/Easements/Land - - Design - - Construction 3,250,000 - Other - - Total $ 3,250,000 $ - Insert a picture of your proposed project here. Click on Insert in Project Schedule: % Complete the menu bar, then Object… Click on the tab Create from File, Design: 2013 0% then click Browse… Browse to your picture, then click Insert and Ok. Implementation: 2014 0% Funding Sources: Amount Water CIP Fund $ 3,250,000 Operating Budget Impact if Completed: 13/14 14/15 15/16 16/17 17/18 No impact $ - - - - - Operating Budget Impact if NOT Completed: 13/14 14/15 15/16 16/17 17/18 No impact $ - - - - - Performance Measures: Replacement of the gate operators will bring the facility into compliance with TCEQ regulations. Notes: Present Value of Future Cash Flows Completing Project $3,208,681 Not Completing Project Undetermined Location of Project (provide at least one of the following locators for each project location): Address: Street Address City State 1) 1900 Beaty Rd. San Angelo Texas 36
  • 326.
    City of SanAngelo, Texas 2013-2018 Capital Improvement Plan Transmission Line Valves Replacement Responsible Dept: Water Utilities Project Manager: Ricky Dickson Financial Plan: Prior Budget Projected Years 12/13 13/14 14/15 15/16 16/17 17/18 Future Total $ 1,650,000 500,000 500,000 500,000 500,000 - - - $ 3,650,000 Description: This project is the replacement of aged and failing transmission valves. Transmission lines are larger than 16" and serve large areas of the population. Valves on these lines are rarely used and have not been routinely exercised. Older valves utilized steel discs and seats and are highly susceptible to corrosion. Deposits in the seats and on the discs prevent the valves from seating and degradation of the steel slides and gates cause valves to seize or bind and break. Continual maintenance and replacement of valves over the long term is required to maintain a consistent and reliable system. Supporting planning document(s): Project Cost: Estimated Project-to-Date ROW/Easements/Land - - Design - - Construction 3,650,000 1,650,000 Other - - Total $ 3,650,000 $ 1,650,000 Insert a picture of your proposed project here. Click on Insert in Project Schedule: % Complete the menu bar, then Object… Click on the tab Create from File, Design: 2010 100% then click Browse… Browse to your picture, then click Insert and Ok. Implementation: 2011 45% Funding Sources: Amount Water CIP Fund $ 3,650,000 Operating Budget Impact if Completed: 13/14 14/15 15/16 16/17 17/18 No impact $ - - - - - Operating Budget Impact if NOT Completed: 13/14 14/15 15/16 16/17 17/18 Additional time and resources to isolate pipe segments $ 15,000 20,000 20,000 - - for repair of leaks and water shut off to large areas of the city Performance Measures: Valves are to be replaced annually. Notes: 22 valves were replaced in the 2008 contract. Present Value of Future Cash Flows Completing Project $1,944,755 Not Completing Project $52,883 Location of Project (provide at least one of the following locators for each project location): Address: Street Address City State 1) Various sites in SMD 1,2,3,4,5,6 San Angelo Texas 37
  • 327.
    City of SanAngelo, Texas 2013-2018 Capital Improvement Plan Transmission Mains Responsible Dept: Water Utilities Project Manager: Ricky Dickson Financial Plan: Prior Budget Projected Years 12/13 13/14 14/15 15/16 16/17 17/18 Future Total $ 5,640,000 - 5,100,000 5,300,000 6,000,000 6,150,000 - - $ 28,190,000 Description: Replacement and upgrade of transmission mains. These mains are larger than 16" in size and serve large areas of the populations. Reliable and continued service is required to move water from the plant to the tanks and pump stations throughout the City. Projects are planned as follows: 2006: Phase I-Southwest Feeder Transmission Main, $4,500,000; 2008: Ave I Main from Metcalfe to Chadbourne $1,140,000; 2010: Ave. I Transmission Main Replacement from Chadbourne to Bryant Blvd, $1,600,000 2012: 20" Ave. K Transmission Main, $3,500,000 Future Projects: 2014: Phase II-Southwest Feeder Transmission Main, $5,300,000; 2016: North Transmission Main Improvements, $6,000,000. Upper plane transmission mains which serve the highest growth areas will likely begin requiring upgrades by the 2017 timeframe, $6,150,000. Supporting planning document(s): Water System Master Plan Project Cost: Estimated Project-to-Date ROW/Easements/Land - - Design - - Construction 28,190,000 5,640,000 Other - - Total $ 28,190,000 $ 5,640,000 Insert a picture of your proposed project here. Click on Insert in Project Schedule: % Complete the menu bar, then Object… Click on the tab Create from File, Design: then click Browse… Browse to your picture, then click Insert and Ok. Implementation: 2011 20% Funding Sources: Amount Water CIP Fund $ 28,190,000 Operating Budget Impact if Completed: 13/14 14/15 15/16 16/17 17/18 No impact $ - - - - - Operating Budget Impact if NOT Completed: 13/14 14/15 15/16 16/17 17/18 Increased repairs to existing mains and more interruption $ 30,000 35,000 40,000 40,000 40,000 of service to large areas of the city due to the leaks. Performance Measures: Approximately 5,600 ft of 20" water main are planned to be replaced. Notes: 2006 Southwest Feeder Main complete and placed in service January 15, 2008. Ave I main replacement work complete in 2009. Project % Completion: Southwest Feeder Phase I (100%); Ave I (0%); Ave K (0%); Southwest Feeder Phase II (0%); North (0%); Upper Plane (0%) Present Value of Future Cash Flows Completing Project $21,891,876 Not Completing Project $174,454 Location of Project (provide at least one of the following locators for each project location): Address: Street Address City State 1) 100 Ave I San Angelo Texas 38
  • 328.
    City of SanAngelo, Texas 2013-2018 Capital Improvement Plan Twin Buttes Eco-System Restoration Responsible Dept: Water Utilities Project Manager: Ricky Dickson Financial Plan: Prior Budget Projected Years 12/13 13/14 14/15 15/16 16/17 17/18 Future Total $ 900,000 100,000 - - - - - $ 1,000,000 Description: The project will provide for the removal of invasive brush in the lake basin. The project consists of the removal of 3,900 acres of salt cedar & willow baccharis and 5,600 acres of mesquite. Supporting planning document(s): Project Cost: Estimated Project-to-Date ROW/Easements/Land - - Design - - Construction 800,000 700,000 Other 200,000 200,000 Total $ 1,000,000 $ 900,000 Insert a picture of your proposed project here. Click on Insert Project Schedule: % Complete in the menu bar, then Object… Click on the tab Create from Design: File, then click Browse… Browse to your picture, then click Insert and Implementation: 2013 90% Ok. Funding Sources: Amount Water CIP Fund $ 225,000 Water Operating $ 375,000 State Soil and Water Board $ 400,000 Operating Budget Impact if Completed: 13/14 14/15 15/16 16/17 17/18 No impact $ - - - - - Operating Budget Impact if NOT Completed: 13/14 14/15 15/16 16/17 17/18 No impact $ - - - - - Performance Measures: Approximately 9,500 acres will be cleared of invasive brush in the reservoir basin. Notes: Initial work began in 2010 with be spraying of salt cedar in the upper reaches of the reservoir. Each year additional areas will be sprayed proceeding down through the basin to the dam. Present Value of Future Cash Flows Completing Project $100,000 Not Completing Project Undetermined Location of Project (provide at least one of the following locators for each project location): Address: Street Address City State 1) 6 miles Southwest of San Angelo San Angelo Texas 39
  • 329.
    City of SanAngelo, Texas 2013-2018 Capital Improvement Plan Water Billing and Customer Service Office Remodeling Responsible Division: Water Utilities Project Manager: Ricky Dickson Financial Plan: Prior Budget Projected Years 12/13 13/14 14/15 15/16 16/17 17/18 Future Total $ - 500,000 500,000 - - - - - $ 1,000,000 Description: Remodel the existing building to provide for a modern work environment by replacing electrical wiring, restrooms, new work areas for customer service representatives and billing personnel, exterior repairs and painting, handicapped accessibly entrance, increased security for cash collections. Supporting planning document(s): Project Cost: Estimated Project-to-Date ROW/Easements/Land - - Design 100,000 - Construction 900,000 - Other - - Total $ 1,000,000 $ - Insert a picture of your proposed project here. Click on Insert in the menu bar, then Object… Project Schedule: % Complete Click on the tab Create from File, Design: 2013 0% then click Browse… Implementation: end-2014 0% Browse to your picture, then click Insert and Ok. Funding Sources: Amount Water CIP Fund $ 1,000,000 Operating Budget Impact if Completed: 13/14 14/15 15/16 16/17 17/18 Undetermined $ - - - - - Operating Budget Impact if NOT Completed: 13/14 14/15 15/16 16/17 17/18 Undetermined $ - - - - - Performance Measure: 20 employees currently occupy the building. This will create a better working environment for these employees that assist in approximately 50,000 call- ins a year. Remodeling the building will also impact the 30,000 walk-in customers that access the building annually. Notes: The facility will be evaluated for remodeling or replacement. Construction planned for the end of 2014. Present Value of Future Cash Flows Completing Project $990,677 Not Completing Project Undetermined Location of Project (provide at least one of the following locators for each project location): Address: Street Address City State 1) 122 W. 1st St. San Angelo Texas 40
  • 330.
    City of SanAngelo, Texas 2013-2018 Capital Improvement Plan Water Main Replacements Responsible Dept: Water Utilities Project Manager: Ricky Dickson Financial Plan: Prior Budget Projected Years 12/13 13/14 14/15 15/16 16/17 17/18 Future Total $ 15,731,509 1,300,000 1,300,000 1,300,000 1,300,000 1,300,000 1,300,000 29,230,000 $ 52,761,509 Description: This is an ongoing water mains replacement program initiated in 2001 with priority replacement of 2" mains throughout the City. The 2" main replacement program is continuing with primary emphasis until the 2011-2012 time frame. Gradually the emphasis will be moving to rusty water mains and aged cast iron mains. Since 2001: 334,000 feet of 2" mains replaced. 90,000 feet of 2" mains remaining. Cast iron and rusty mains: 470,000 feet of mains to replace at projected cost of $30,930,000. This is a continuous capital requirement for rehabilitation and replacement of aging distribution systems. As systems are replaced, other sections are aging to the point of need for replacement. Supporting planning document(s): Project Cost: Estimated Project-to-Date ROW/Easements/Land - - Design - - Construction 52,761,509 15,731,509 Other - - Total $ 52,761,509 $ 15,731,509 Insert a picture of your proposed project here. Click on Insert in Project Schedule: % Complete the menu bar, then Object… Click on the tab Create from File, Design: In-House 100% then click Browse… Browse to your picture, then click Insert and Ok. Implementation: 2001/ongoing 30% Funding Sources: Amount Water CIP Fund $ 52,761,509 Operating Budget Impact if Completed: 13/14 14/15 15/16 16/17 17/18 No impact $ - - - - - Operating Budget Impact if NOT Completed: 13/14 14/15 15/16 16/17 17/18 Increased cost for repairs to mains and additional $ 30,000 35,000 35,000 35,000 35,000 flushing of mains to maintain water quality. Performance Measures: Approximately 15,000 ft of mains will be replace each year. Notes: This is an ongoing capital maintenance program. Present Value of Future Cash Flows Completing Project $33,552,460 Not Completing Project $160,541 Location of Project (provide at least one of the following locators for each project location): Address: Street Address City State 1) Various locations in SMD 1,2,3,4,5,6 San Angelo Texas 41
  • 331.
    City of SanAngelo, Texas 2013-2018 Capital Improvement Plan Water Reclamation Plant Improvements Responsible Dept: Water Utilities Project Manager: Ricky Dickson Financial Plan: Prior Budget Projected Years 12/13 13/14 14/15 15/16 16/17 17/18 Future Total $ 400,000 200,000 200,000 200,000 200,000 200,000 200,000 200,000 $ 1,800,000 Description: The Water Reclamation Facility treats all of the wastewater from the City of San Angelo and delivers to irrigation. The operating environment for wastewater treatment is harsh on all systems including mechanical, electrical and concrete. There are hundreds of mechanical systems in the plant including pumps, clarifiers, air scrubbers, sludge belts, blowers, heat exchangers and more. Most of these systems need some type of major repair or replacement every 5 years. Concrete walls of basins and equipment are subject to corrosive properties present at wastewater plants and need repair and rehabilitation every 5 to 6 years. This program schedules funding to facilitate repair, rehabilitation or replacement on a condition and critical priority basis. Supporting planning document(s): Project Cost: Estimated Project-to-Date ROW/Easements/Land - - Design - - Construction 1,800,000 400,000 Other - - Total $ 1,800,000 $ 400,000 Project Schedule: % Complete Design: In-house 100% Implementation: ongoing 22% Funding Sources: Amount Wastewater CIP Fund $ 1,800,000 Operating Budget Impact if Completed: 13/14 14/15 15/16 16/17 17/18 No impact $ - - - - - Operating Budget Impact if NOT Completed: 13/14 14/15 15/16 16/17 17/18 Increased costs to repair in the future due to continual $ 100,000 100,000 150,000 150,000 150,000 deterioration of facilities Performance Measures: Repairs to various structures and mechanical equipment with a life expectancy of 10 years. Notes: Present Value of Future Cash Flows Completing Project $1,324,049 Not Completing Project $611,841 Location of Project (provide at least one of the following locators for each project location): Address: Street Address City State 1) 1898 City Farm Rd. San Angelo Texas 42
  • 332.
    City of SanAngelo, Texas 2013-2018 Capital Improvement Plan WTP Equipment Improvements Responsible Dept: Water Utilities Project Manager: Ricky Dickson Financial Plan: Prior Budget Projected Years 12/13 13/14 14/15 15/16 16/17 17/18 Future Total $ 500,000 300,000 200,000 400,000 200,000 200,000 200,000 200,000 $ 2,200,000 Description: Rehabilitation and replacement of aging water treatment plant equipment based on condition, age and criticality. Equipment includes items such as flocculator mechanisms, clarifier mechanisms, filters, plant valves and other plant operation mechanisms. Supporting planning document(s): Project Cost: Estimated Project-to-Date ROW/Easements/Land - - Design - - Construction 2,200,000 500,000 Other - - Total $ 2,200,000 $ 500,000 Insert a picture of your proposed project here. Click on Insert in Project Schedule: % Complete the menu bar, then Object… Click on the tab Create from File, Design: 2010 100% then click Browse… Browse to your picture, then click Insert and Ok. Implementation: ongoing 23% Funding Sources: Amount Water CIP Fund $ 2,200,000 Operating Budget Impact if Completed: 13/14 14/15 15/16 16/17 17/18 No impact $ - - - - - Operating Budget Impact if NOT Completed: 13/14 14/15 15/16 16/17 17/18 Increased maintenance of equipment and eventual shut down $ 25,000 35,000 50,000 50,000 50,000 of equipment when it can no longer be repaired Performance Measures: Control valves, clarifier equipment and electrical equipment will be replaced with a life expectancy of about 20 years. Notes: Projects include work on control valves and electrical service in the filter building. Present Value of Future Cash Flows Completing Project $1,616,660 Not Completing Project Undetermined Location of Project (provide at least one of the following locators for each project location): Address: Street Address City State 1) 327 E Ave I San Angelo Texas 43
  • 333.
    City of SanAngelo, Texas 2013-2018 Capital Improvement Plan Wastewater Service to Existing Developed Areas Responsible Dept: Water Utilities Project Manager: Ricky Dickson Financial Plan: Prior Budget Projected Years 12/13 13/14 14/15 15/16 16/17 17/18 Future Total $ 3,000,000 1,200,000 - - - - - 13,000,000 $ 17,200,000 Description: Some areas of the City do not have wastewater service. To establish service to the areas may require construction of new collector mains, service mains and lift stations. The estimated cost to provide service to the following areas is as listed below. Supporting planning document(s): Project Cost: Estimated Project-to-Date No. Area Estimated Cost ROW/Easements/Land - - Design - - 1 Green Acres $3.0 Million Construction 17,000,000 3,000,000 Other - - 2 Mercedes & Townview $500,000 Total $ 17,000,000 $ 3,000,000 3 Red Bluff $2.0 Million 4 Country Club Lake Estates $2.0 Million Project Schedule: % Complete Design: In-house 100% Implementation: 2010 18% 5 Country Club Road $3.5 Million 6 Butler Farm $2.0Million Funding Sources: Amount 7 Los Lomas $2.0 Million Wastewater CIP Fund $ 17,000,000 Total $15.0 Million Operating Budget Impact if Completed: 13/14 14/15 15/16 16/17 17/18 Increased revenue from new wastewater customers $ - - - - - Operating Budget Impact if NOT Completed: 13/14 14/15 15/16 16/17 17/18 Lost revenue from residents not on City wastewater $ - - - - - Performance Measures: Provide municipal wastewater service to residents that currently have on site wastewater disposal systems. Notes: Extension of wastewater service to the Red Bluff area to complete the sewer collection system at Lake Nasworthy planned to begin in 2013 Present Value of Future Cash Flows Completing Project $12,811,167 Not Completing Project Undetermined Location of Project (provide at least one of the following locators for each project location): Address: Street Address City State 1) Various locations in SMD 1,2,6 San Angelo Texas 44
  • 334.
    City of SanAngelo, Texas 2013-2018 Capital Improvement Plan Replace School Zone and Crosswalk Equipment Responsible Dept: Traffic Operations Project Manager: Shane Kelton Financial Plan: Prior Budget Projected Years 12/13 13/14 14/15 15/16 16/17 17/18 Future Total $ 68,000 18,000 18,000 18,000 18,000 18,000 - $ 158,000 Description: Replace crosswalk signs with the bright yellow green high reflectivity signs. Replace or update time clocks with new clocks that also can be sent time and date information via radio or pager signal. Replace painted crosswalks with thermo plastic heat tape. Replacement of crosswalk signs and crosswalks will provide improved visibility for pedestrian safety. Supporting planning document(s): Project Cost: Estimated Project-to-Date ROW/Easements/Land - - Design - - Construction - - Other 158,000 68,000 Total $ 158,000 $ 68,000 Insert a picture of your proposed project here. Click on Insert in the menu bar, then Object… Project Schedule: % Complete Click on the tab Create from File, Design: 0% then click Browse… Implementation: 2012 60% Browse to your picture, then click Insert and Ok. Funding Sources: Amount Tom Green County Fee $ 158,000 Operating Budget Impact if Completed: 13/14 14/15 15/16 16/17 17/18 Annual electrical savings of $4,500.00 per year. $ (4,500) (4,500) (4,500) (4,500) (4,500) Replace Thermoplastic - - - - 32,500 Operating Budget Impact if NOT Completed: 13/14 14/15 15/16 16/17 17/18 Continued cost of repainting crosswalks. $ 21,000 21,000 21,000 21,000 21,000 Performance Measures: 150 Signs have been replaced at all school crossings and all crosswalks have been marked with thermo plastic material. Notes: Funding Source - Crosswalk Guard and Equipment Revenues collected by Tom Green County Fee. Radios and time clocks will be upgraded as funds are available from the county. The thermoplastic crosswalk material will reduce the maintenance of crosswalks to once every five years from repainting crosswalks every two months. Traffic Operations Divisions currently maintains 150 crosswalks. The cost to replace with thermoplastic every 5 years will cost approximately $32,500.00. Present Value of Future Cash Flows Completing Project $95,013 Not Completing Project $99,269 Location of Project (provide at least one of the following locators for each project location): Address: Street Address City State 1) City Wide San Angelo Texas 45
  • 335.
    City of SanAngelo, Texas 2013-2018 Capital Improvement Plan Sign Reflectivity Upgrade Responsible Division: Traffic Operations Project Manager: Shane Kelton Financial Plan: Prior Budget Projected Years 12/13 13/14 14/15 15/16 16/17 17/18 Future Total $ 94,000 48,000 56,550 57,681 58,834 60,011 61,211 141,077 $ 577,364 Description: Upgrade informational, warning and regulatory signs to meet newly established federal required mandates for reflectivity. The Traffic Division has inventoried and tested the retroreflectivity of all the City signs. They currently have maintenance responsibily for approximately 12,000 informational, warning and regulatory signs. Tests revealed 30% have failed and are in need of replacement. The Federal Highway Administration has extended the deadline for the replacement of failed signs from 2018 to 2020. In order to stay in compliance with the mandate the Traffic Division will have to replace approximately 870 signs a year. This number includes the 3,600 that are currently out of compliance and the extimated 5% that will fail each of the following years. The replacement of signs to stay in compliance will be an ongoing responsibility well past the compliance deadline. Supporting planning document(s): Project Cost: Estimated Project-to-Date ROW/Easements/Land - - Design - - Construction - - Other 577,364 94,000 Total $ 577,364 $ 94,000 Insert a picture of your proposed project here. Click on Insert in the menu bar, then Object… Project Schedule: % Complete Click on the tab Create from File, Design: 0% then click Browse… Implementation: ongoing 30% Browse to your picture, then click Insert and Ok. Funding Sources: Amount General Fund $ 577,364 Operating Budget Impact if Completed: 13/14 14/15 15/16 16/17 17/18 Increase in operation budget to meet and maintain federal 122,550 126,081 129,730 133,502 137,402 mandate. This includes the cost of two additional full time employees and O&M of an additional vehicle. Operating Budget Impact if NOT Completed: 13/14 14/15 15/16 16/17 17/18 Potential Gross Negligence Liablity $ - - - - - Performance Measure: In order to maintain and stay in compliance with the federal mandates the Traffic Division will be required to replace approximately 870 signs per year. Notes: COMPLIANCE DATES: January 2012-Implement a sign maintenance program that addresses the minimum sign retroreflectivity requirements. January 2017-Complaince with the new retroreflectivity requirements for most of their traffic signs they have installed, including all red and white or white and black "regulatory" signs, yellow and black "warning" signs and ground-mounted green and white "guide" signs (except street name signs). January 2020-Compliance with the new retroreflectivity requirements for all signs. The Traffic Operations Division has inventoried all signs for a total of 12,000. Of the 12,000 30% have failed the retroreflectivity tests for minimum requirements. Of the remaining 8,400 signs we are estimating that approximately 5% of those will fail the retroreflectometer test on a yearly basis until all signs have been replaced after 8 years. Mandated by Federal Highway Administration - If not completed the City may be found at fault for Gross Negligence Liability. In order to accomplish this project and remain in compliance the Traffic Division has hired an additional two full time employees and will purchase a vehicle. Present Value of Future Cash Flows Completing Project $1,065,185 Not Completing Project Undetermined Location of Project (provide at least one of the following locators for each project location): Address: Street Address City State 1) City Wide San Angelo Texas 46
  • 336.
    2013-2018 Capital Improvement Plan Other Projects LEVEL 2 Airport City Operations Facilities Community Facilities and parks City Facilities Environmental Equipment Technology
  • 337.
    City of SanAngelo, Texas 2013-2018 Capital Improvement Plan Apron Joint Seal Responsible Dept: Airport Project Manager: Luis Elguezabal Financial Plan: Prior Budget Projected Years 12/13 13/14 14/15 15/16 16/17 17/18 Future Total $ - - - - 54,900 555,555 - - $ 610,455 Description: Design, engineering, and construction for the sealcoat and pavement rehabilitation of the terminal building apron and Runway 9-27 and 18-36. Over time joint seals deteriorate causing water to penetrate the sub-surface and damage the pavement. Joint seals need to be replaced in order to extend the life of the pavement. Supporting planning document(s): Project Cost: Estimated Project-to-Date ROW/Easements/Land - Design 54,900 Construction 555,555 Other - Total $ 610,455 $ - Project Schedule: % Complete Design: 2016 0% Implementation: 2017 0% Funding Sources: Amount FAA Grant $ 549,410 PFC Fund $ 61,045 Operating Budget Impact if Completed: 13/14 14/15 15/16 16/17 17/18 Pavement maintenance $ 5,000 5,000 5,000 5,000 5,000 Operating Budget Impact if NOT Completed: 13/14 14/15 15/16 16/17 17/18 Increased pavement maintenance $ 15,000 15,000 25,000 45,000 45,000 Performance Measures: The area that will need the Apron Joint Seal is approximately 359,000 SQ FT. Notes: Present Value of Future Cash Flows Completing Project $589,909 Not Completing Project $135,484 Location of Project (provide at least one of the following locators for each location): Address: Street Address City State 1) 8618 Terminal Circle San Angelo Texas 48
  • 338.
    City of SanAngelo, Texas 2013-2018 Capital Improvement Plan Runway 3-21 Runway Lights and Airport Beacon Replacement Responsible Dept: Airport Project Manager: Luis Elguezabal Financial Plan: Prior Budget Projected Years 12/13 13/14 14/15 15/16 16/17 17/18 Future Total $ - 631,889 - - - $ 631,889 Description: Design, engineering, and construction for high intensity runway lights for Runway 3-21 and also improvements to the rotating beacon and electrical vault. This lighting system is 11 years old and has failed. The FAA has allocated funds for the replacement and repair of this system this fiscal year. Supporting planning document(s): Project Cost: Estimated Project-to-Date ROW/Easements/Land - - Design 55,556 - Construction 576,333 - Other - - Total $ 631,889 $ - Insert a picture of your proposed project here. Click on Insert Project Schedule: % Complete in the menu bar, then Object… Click on the tab Create from Design: 2013 0% File, then click Browse… Browse to your picture, then click Insert and Implementation: 2013 0% Funding Sources: Amount FAA Grant $ 568,700 PFC Fund $ 63,189 Operating Budget Impact if Completed: 13/14 14/15 15/16 16/17 17/18 Decreased maintenance costs $ 1,000 3,000 4,000 5,000 5,000 Operating Budget Impact if NOT Completed: 13/14 14/15 15/16 16/17 17/18 Future failure and unreliable system $ 40,000 40,000 40,000 40,000 40,000 Performance Measures: Total of 70 lights in the system. Annual replacement of 12% of lights per year is expected until the system is re-constructed. Notes: The system has failed. FAA has allocated funds for the replacement of the circuit this year. Present Value of Future Cash Flows Completing Project $648,728 Not Completing Project $189,083 Location of Project (provide at least one of the following locators for each location): Address: Street Address City State 1) 8618 Terminal Circle, Suite-101 San Angelo Texas 49
  • 339.
    City of SanAngelo, Texas 2013-2018 Capital Improvement Plan Airport Terminal Renovation Responsible Dept: Airport Project Manager: Luis Elguezabal Financial Plan: Prior Budget Projected Years 12/13 13/14 14/15 15/16 16/17 17/18 Future Total $ 1,239,379 1,110,000 1,110,000 1,110,000 1,110,000 600,862 - - $ 6,280,241 Description: The San Angelo Regional Airport is currently modernizing the existing terminal building. The project consists of remodeling of the landside functions to relate to the new concourse, improve the passenger experience, and provide an aesthetic enhancement with a regional identity. Specifically, construction consists of exterior and driveway improvements such as: new entry monument sign, terminal entrance pavement enhancements, curbside canopies, and air traffic control tower renovations. Improvements to the interior includes items such as: new entrance and exit vestibules, relocation and configuration of the airline ticket counters and baggage claim belt, improvements to the security check point to assist with the screening process, structural modifications to accommodate a view from the entrance to the arrival/departure escalator area, relocation of the airport administrative offices, adjustments to the HVAC, security, fire protection, and IT systems, and enhancements to the meet and greet area. Supporting planning document(s): Project Cost: Estimated Project-to-Date ROW/Easements/Land - - Design 354,526 354,526 Construction 5,925,715 884,853 Other Total $ 6,280,241 $ 1,239,379 Project Schedule: % Complete Design: 12-2010 100% Implementation: Start Date 01-2012 20% Completion: 11-2013 0% Funding Sources: Amount FAA Grant $ 5,491,230 PFC Funds $ 289,011 Type B Sales Tax $ 500,000 Operating Budget Impact if Completed: 13/14 14/15 15/16 16/17 17/18 More efficiency, less maintenance, improved aesthetics. $ - - - - - Operating Budget Impact if NOT Completed: 13/14 14/15 15/16 16/17 17/18 No impact $ - - - - - Performance Measures: Project is scheduled to be completed in 540 days. Contractor has used 343 days or about 64% of the time is used. Notes: Note that although 64% of the time allotted for completion has elapsed, only 20% of the project has been completed. Construction is about 6 months behind. Present Value of Future Cash Flows Completing Project $4,874,613 Not Completing Project Undetermined Location of Project (provide at least one of the following locators for each location): Address: Street Address City State 1) 8618 Terminal Circle San Angelo Texas 50
  • 340.
    City of SanAngelo, Texas 2013-2018 Capital Improvement Plan EOC HVAC Replacement Responsible Dept: Emergency Management Project Manager: Teresa Covey Financial Plan: Prior Budget Projected Years 12/13 13/14 14/15 15/16 16/17 17/18 Future Total $ - - 500,000 - - - - - $ 500,000 Description: The current HVAC system at the EOC is the original installed when the building was constructed 26 years ago. Replacement parts are scarce to non-existent. Only TWO repair men at Duncan Mechanical Services are capable of making repairs at this time. The pneumatic control system is inefficient and unreliable, constantly cooling or heating, which in turn cost unnecessary utility expenses. We recommend the purchase of a new more energy efficient system. Total HVAC replacement will reduce the ongoing electrical costs and maintenance repairs. Supporting planning document(s): Ron Lewis, COSA Construction and Facilities Maintenance, and WTA Engineering provided the necessary preliminary cost analysis. The estimate of $327,000 in 2008 has been adjusted by a minimum of 10% for each year since 2008 to cover inflation costs. Project Cost: Estimated Project-to-Date ROW/Easements/Land - - Design 75,000 - Construction 425,000 - Other - - Total $ 500,000 $ - Project Schedule: % Complete Design: 2014 0% Implementation: 2014 0% Funding Sources: Amount Undetermined $ 500,000 Operating Budget Impact if Completed: 13/14 14/15 15/16 16/17 17/18 Savings on Maintenance and Repairs $ (5,000) (5,000) (5,000) (5,000) (5,000) Operating Budget Impact if NOT Completed: 13/14 14/15 15/16 16/17 17/18 Repairs and Maintenance $ 5,000 5,500 6,050 6,655 7,320 Performance Measures: Notes: If the HVAC system is not replaced, maintenance costs will continue to increase as the amount of leaks in the hot water lines throughout the building continue to increase. Options for repairs are limited due to lack of the antiquated pneumatic system. Budget Impact if NOT completed reflects an annual 10% increase in cost. If a repair needs to be made, we will take this request forward for approval, on an as needed basis. If the HVAC system is not replaced and repairs are needed at a time when the EOC is activated, this will create a hardship on key personnel at a time of critical decision making. The City of San Angelo Emergency Management Department is bound by contract with the FAA to maintain the facility at 8485 Hangar Road. Present Value of Future Cash Flows Completing Project $467,042 Not Completing Project $28,756 Location of Project (provide at least one of the following locators for each project location): Address: Street Address City State 1) 8485 Hangar Rd. San Angelo Texas 51
  • 341.
    City of SanAngelo, Texas 2013-2018 Capital Improvement Plan Fire Station #4 Reconstruction Responsible Dept: Fire Project Manager: Brian Dunn Financial Plan: Prior Budget Projected Years 12/13 13/14 14/15 15/16 16/17 17/18 Future Total $ - - - 2,580,000 - - - - $ 2,580,000 Description: Relocate Fire Station #4 and reconstruct. Station 4 was constructed in 1965 and has never been improved. A fire truck cannot be purchased that will fit in the engine bay of Station 4. Additionally, the station will be made gender compliant. The city has been in discussions with GAFB about building the station on the corner of Bell Street and Paint Rock Road. There are several items the city will have to address if this location is approved. We will have to re-fence the area, move some water boxes, and move a gas main. We will also be responsible for some paving. We are looking for alternate locations at this time in case this site falls through. Supporting planning document(s): Project Cost: Estimated Project-to-Date ROW/Easements/Land 80,000 3,684 Design 65,000 - Construction 2,435,000 - Other - Total $ 2,580,000 $ 3,684 Insert a picture of your proposed project here. Click on Insert in the menu bar, then Object… Project Schedule: % Complete Click on the tab Create from File, Design: 100% then click Browse… Implementation: 2014 0% Browse to your picture, then click Insert and Ok. Funding Sources: Amount General Fund C.O. $ 2,580,000 Operating Budget Impact if Completed: 13/14 14/15 15/16 16/17 17/18 No impact $ - - - - - Operating Budget Impact if NOT Completed: 13/14 14/15 15/16 16/17 17/18 No impact $ - - - - - Performance Measures: Improved response time, lower the ISO rating Notes: Improved response times and geographically locating fire stations has an impact on the city's ISO rating. The ISO rating is the rating system in which insurance companies base their insurance premiums to commercial and residential customers. The City of San Angelo will be graded in the summer of 2008. The city should get an improved rating which will in turn reduce premiums for the citizens and businesses in the City of San Angelo. Present Value of Future Cash Flows Completing Project $2,484,685 Not Completing Project Undetermined Location of Project (provide at least one of the following locators for each project location): Address: Street Address City State 1) 702 E. Ave. L San Angelo Texas 52
  • 342.
    City of SanAngelo, Texas 2013-2018 Capital Improvement Plan Fire Training Facility Responsible Dept: Fire Project Manager: Brian Dunn Financial Plan: Prior Budget Projected Years 12/13 13/14 14/15 15/16 16/17 17/18 Future Total $ - 1,200,000 1,400,000 - - - - - $ 2,600,000 Description: A new fire training facility located behind the animal shelter on U.S. 67 North. This facility will have a classroom and office building and a fire burn building. This facility will replace the current training center on Avenue L that is approaching 50 years of age. The current training center is located on the Concho river across from the city water intake. TCEQ has basically shut down many of our fire training operations because of the proximity of the river. Supporting planning document(s): Project Cost: Estimated Project-to-Date ROW/Easements/Land - - Design - - Construction 2,600,000 - Other - - Total $ 2,600,000 $ - Insert a picture of your proposed project here. Project Schedule: % Complete Click on Insert in the menu bar, then Picture… Design: 0% then find picture in your files… then double click picture to insert. Implementation: 0% Funding Sources: Amount Federal EDA Grant $ 1,200,000 General Fund Bond $ 1,400,000 Operating Budget Impact if Completed: 13/14 14/15 15/16 16/17 17/18 At this point there isn't any impact to the operating budget $ - - - - - Operating Budget Impact if NOT Completed: 13/14 14/15 15/16 16/17 17/18 $ - - - - - Performance Measures: The ability to train current personnel and future personnel Notes: Present Value of Future Cash Flows Completing Project $2,573,896 Not Completing Project Undetermined Location of Project (provide at least one of the following locators for each project location): Address: Street Address City State 1) Behind 3142 u.s. 67 north San Angelo Texas 53
  • 343.
    City of SanAngelo, Texas 2013-2018 Capital Improvement Plan Chase State Office Building Improvements Responsible Dept: Fort Concho/State Building Project Manager: Robert Bluthardt Financial Plan: Prior Budget Projected Years 12/13 13/14 14/15 15/16 16/17 17/18 Future Total $ - 200,000 20,000 20,000 20,000 20,000 20,000 $ 300,000 Description: The sprinkler risers in the Chase State Office Building are almost 60 years old and should be replaced. Also, approximately 600 feet of the system piping has had numerous small leaks in the past five years, thus endangering whole sections of office and public space. This project will replace them over a three year period. Office and hallway carpets need to be replaced throughout the Chase State Office Building and Concho Valley Workforce Building in the coming years, due to wear and tear, safety and fulfillment of exisiting leases. A multi-year plan will accommodate these needs within available funding. HVAC units at the State Buidlings range from 10 to 12 years old and will start to fail in the coming years. To maintain proper climate control with increasingly efficient equipment, a multi-year replacement plan is necessary. Supporting planning document(s): Project Cost: Estimated Project-to-Date ROW/Easements/Land - - Design - - Construction 300,000 - Other - - Total $ 300,000 $ - Insert a picture of your proposed project here. Project Schedule: % Complete Click on Insert in the menu bar, then Picture… Design: 0% then find picture in your files… then double click picture to insert. Implementation: 2017/2018 0% Funding Sources: Amount Fund 201 State Office Building $ 300,000 Operating Budget Impact if Completed: 13/14 14/15 15/16 16/17 17/18 Completing the project will reduce maintenance costs and C l ti th j t ill d i t t d $ (2,500) (5,000) (10,000) (12,500) (15,000) reduce energy consumption. Operating Budget Impact if NOT Completed: 13/14 14/15 15/16 16/17 17/18 Repair and spot replacement for carpet $ 1,000 3,000 5,000 7,000 9,000 HVAC repairs 5,000 5,000 7,500 7,500 10,000 Performance Measures: No leaks or drops in the system pressure over time. Easier cleaning by custodial contractor; no complaints from lessees. Increased energy efficiency and content state staffers. Notes: Present Value of Future Cash Flows Completing Project $247,084 Not Completing Project $56,147 Location of Project (provide at least one of the following locators for each project location): Address: Street Address City State 1) 622 South Oaks San Angelo Texas 54
  • 344.
    City of SanAngelo, Texas 2013-2018 Capital Improvement Plan Boat Storage Dock Responsible Dept: Police Department Project Manager: Chief Tim Vasquez Financial Plan: Prior Budget Projected Years 12/13 13/14 14/15 15/16 16/17 17/18 Future Total $ - - 75,000 - - - - - $ 75,000 Description: The San Angelo Police Department Lake Patrol is in need of a boat storage dock on Lake Nasworthy. Currently the boats are stored offsite. When the Lake Patrol Officer receives a call on Lake Nasworthy, they must first go to the storage facility to retrieve the boat. It takes an average of 20 minutes from the time the call is received to the time the boat is on the water. With a boat dock on Lake Nasworthy the responding officer will be able to go straight to the lake and drop the boat in the water. This will cut 20 minutes off the response time to an emergency on the lake. Supporting planning document(s): Project Cost: Estimated Project-to-Date ROW/Easements/Land - - Design 5,000 - Construction 70,000 - Other - - Total $ 75,000 $ - Insert a picture of your proposed project here. Project Schedule: % Complete Click on Insert in the menu bar, then Picture… Design: 0% then find picture in your files… then double click picture to insert. Implementation: 0% Funding Sources: Amount Undetermined $ 75,000 Operating Budget Impact if Completed: 13/14 14/15 15/16 16/17 17/18 Cut storage rental fees $ (1,560) (1,560) (1,560) (1,560) (1,560) Electricity 700 725 750 775 800 Operating Budget Impact if NOT Completed: 13/14 14/15 15/16 16/17 17/18 None $ - - - - - Performance Measures: Decrease response time to emergency calls on Lake Nasworthy by 20 minutes. Notes: Present Value of Future Cash Flows Completing Project $69,768 Not Completing Project Undetermined Location of Project (provide at least one of the following locators for each project location): Address: Street Address City State 1) Undetermined San Angelo Texas 55
  • 345.
    City of SanAngelo, Texas 2013-2018 Capital Improvement Plan Mobile Command Center Storage Facility Responsible Dept: Police Department Project Manager: Chief Tim Vasquez Financial Plan: Prior Budget Projected Years 12/13 13/14 14/15 15/16 16/17 17/18 Future Total $ - - 60,000 - - - - - $ 60,000 Description: The Police Department has a mobile command center that is used at various events around the city and at critical calls. It is currently housed at the City Shop but is not covered. There is a lot of electronic equipment mounted on top and on the sides of the command center that need to be protected from the weather. Being exposed to the sun also is causing damage to the exterior of the command center. This command center needs to able to be deployed anytime under any circumstances. The storage facility would protect it from dangerous weather and allow it to be ready to be deployed when needed. Supporting planning document(s): Project Cost: Estimated Project-to-Date ROW/Easements/Land - - Design - - Construction 60,000 - Other - - Total $ 60,000 $ - Insert a picture of your proposed project here. Project Schedule: % Complete Click on Insert in the menu bar, then Picture… Design: 0% then find picture in your files… then double click picture to insert. Implementation: 0% Funding Sources: Amount Undetermined $ 60,000 Operating Budget Impact if Completed: 13/14 14/15 15/16 16/17 17/18 Cost of electric service to the facility $ 900 925 950 975 1,000 Operating Budget Impact if NOT Completed: 13/14 14/15 15/16 16/17 17/18 None $ - - - - - Performance Measures: Notes: Present Value of Future Cash Flows Completing Project $63,368 Not Completing Project Undetermined Location of Project (provide at least one of the following locators for each project location): Address: Street Address City State 1) 401 E. Beauregard San Angelo Texas 56
  • 346.
    City of SanAngelo, Texas 2013-2018 Capital Improvement Plan Police Department Administration Building Responsible Dept: Police Department Project Manager: Chief Tim Vasquez Financial Plan: Prior Budget Projected Years 12/13 13/14 14/15 15/16 16/17 17/18 Future Total $ 135,067 - 25,775,000 - - - $ 25,910,067 Description: The current HQ building was constructed in 1963 and was originally designed to house the Police Dept., Municipal Court, and a City Jail. At the present time, the SAPD is housed in six separate facilities. In 2011 an architect firm completed a feasibility analysis of the current facility and future needs. The analysis cited the following deficiencies: 1. Lack of adequate square footage 2. Lack of code compliance (ADA and Life Safety) 3. Separation of public and staff areas 4. Inadequate building systems (electrical, plumbing, HVAC, etc) 5. Lack of public and staff parking 6. Structural concerns (both at HQ bldg. and auxiliary facilities. The probable steps in the project are: 1. Site selections and acquisition 2. Design 3. Construction. A HQ building of approximately 108,000 sq. ft. and a parking structure are suggested. Site costs are estimated at $775,000 to $2 million. HQ Building cost at $22 to $23 million ($220 to $230 sq.ft.) and parking structure $1.25 to $1.75 million.. Supporting planning document(s): Assessment & Feasibility analysis are available upon request. Project Cost: Estimated Project-to-Date ROW/Easements/Land 775,000 - Design 500,000 Construction 24,500,000 - Other 135,067 135,067 Total $ 25,910,067 $ 135,067 Insert a picture of your proposed project here. Click on Insert in the menu bar, then Object… Project Schedule: % Complete Click on the tab Create from File, Design: 2013 0.5% then click Browse… Implementation: 2014 0% Browse to your picture, then click Insert and Ok. Funding Sources: Amount General Fund $ 135,067 Future General Fund C.O. $ 25,775,000 Operating Budget Impact if Completed: 13/14 14/15 15/16 16/17 17/18 $ (10,000) (20,000) (35,000) (60,000) (60,000) Reductions are expected in the department's operating budget. Building maintenance and repairs will decrease as well as some personnel costs. No savings would be expected until construction is competed and will flatten once maximum savings is achieved Operating Budget Impact if NOT Completed: 13/14 14/15 15/16 16/17 17/18 Increases in the maintenance and upkeep of the current faclity will occur until $ 30,000 40,000 50,000 50,000 50,000 a new facility is constructed or major renovations are completed at the current bulding. Systems such as HVAC, Plumbing and Electrical will need updating as will ADA compliance issues. (increase to current budget is listed) -- renovations would increase the estimated costs by 3 to 5 times the amounts listed Performance Measure: Notes: The original needs assessment and feasibility study was completed mid 2011. This confirmed the SAPD's assertion that new facilities were needed. City council members were invited to tour current facilities and were thoroughly convinced a new facility was in order. The City Manager and Assistant City managers were on board with re-evaluating a new police facilities placement on the CIP list. While the cost of new construction is high, the cost of acceptable renovations would equal or exceed the cost of constructions, and still not address parking and home land security preferences for public safety facilities. Moving forward with new facilities in a timely fashion will also save money in the long run. Construction costs are estimated to increase 4% annually. 25% reduction in total utility costs (+/- $25,000) ---- 33% reduction in maintenance personnel (+/- $35,000) --- Revenue increases from community room rental ($7,500) ---- Increased revenue from additional training program ($3000) -- the value of increased service/accessibility to the public can't be measured nor can the safety and security afforded by modern faciltiies. Potential for litigations should also be a concern (ADA or injury litigation) but again these things can't be measured. Present Value of Future Cash Flows Completing Project $25,121,999 Not Completing Project $207,096 Location of Project (provide at least one of the following locators for each project location): Address: Street Address City State 1) 401 E. Beauregard San Angelo Texas 57
  • 347.
    City of SanAngelo, Texas 2013-2018 Capital Improvement Plan Auditorium Renovation Responsible Dept: Civic Events Project Manager: Angelica Pena Financial Plan: Prior Budget Projected Years 12/13 13/14 14/15 15/16 16/17 17/18 Future Total $ - 1,435,803 2,314,197 - - - - $ 3,750,000 Description: Renovation of City Auditorium. This project includes shared costs with the City Hall renovation for the HVAC system. The balance of the available funds will address needs that include a fire suppression system, ceiling repairs, restroom renovations, theatrical lighting, rigging and sound systems, and aesthetics. The architect is determining which of those needs can be afforded with the $1.7 million that remains. Future improvements will be coordinated with the San Angelo Performing Arts Coalition, which is raising funds to address those needs. To date, improvements made are the installation of the Central plant (HVAC system) and some minor plumbing issues have been addressed. Supporting planning document(s): Project Cost: Estimated Project-to-Date ROW/Easements/Land - - Design 334,500 334,500 Construction 3,415,500 1,101,303 Other - - Total $ 3,750,000 $ 1,435,803 Insert a picture of your proposed project here. Click on Insert in Project Schedule: % Complete the menu bar, then Object… Click on the tab Create from File, Design: 2011 100% then click Browse… Browse to your picture, then click Insert and Ok. Implementation: 2014 30% Funding Sources: Amount Type B Sales Tax $ 3,750,000 Operating Budget Impact if Completed: 13/14 14/15 15/16 16/17 17/18 Likely none. The City is expected to execute an agreement $ - - - - - with SAPAC for the operation of the venue once it reopens reopens. That agreement will include clauses to ensure that City expenses are wholly reimbursed. Operating Budget Impact if NOT Completed: 13/14 14/15 15/16 16/17 17/18 None. $ - - - - - Performance Measures: SAPAC believes a fully renovated facility will result in continuous use of the venue throughout the calendar year. In years past, the venue has accommodated approximately 65 events per year. Notes: The City and SAPAC have entered into an agreement as of December 2012. SAPAC will be making additional improvements outside of the City- funded portion of this project. Present Value of Future Cash Flows Completing Project $3,664,505 Not Completing Project Undetermined Location of Project (provide at least one of the following locators for each project location): Address: Street Address City State 1) 72 W. College Ave. San Angelo Texas 58
  • 348.
    City of SanAngelo, Texas 2013-2018 Capital Improvement Plan Fairgrounds Livestock Barn Responsible Dept: Civic Events Project Manager: Angelica Pena Financial Plan: Prior Budget Projected Years 12/13 13/14 14/15 15/16 16/17 17/18 Future Total $ - 1,000,000 - - - - - $ 1,000,000 Description: At the request of the San Angelo Stock Show and Rodeo Association, a $1 million initiative to build a new livestock barn to replace the Qualtrust Barn at the San Angelo Fairgrounds was included in the most recent half-cent sales tax initiative. Voters approved that initiative. Demolition of the current facility and construction of the new barn will begin following this year's rodeo and stock show. The facility is expected to be available for use during next year's stock show. Supporting planning document(s): Project Cost: Estimated Project-to-Date ROW/Easements/Land - - Design 75,000 68,511 Construction 925,000 499,610 Other - - Total $ 1,000,000 $ 568,121 Insert a picture of your proposed project here. Click on Insert in Project Schedule: % Complete the menu bar, then Object… Click on the tab Create from File, Design: 2011 91% then click Browse… Browse to your picture, then click Insert and Ok. Implementation: 2012 25% Funding Sources: Amount Type B Sales Tax $ 1,000,000 Operating Budget Impact if Completed: 13/14 14/15 15/16 16/17 17/18 The barn will be operated and mainted by SASSRA, so there $ - - - - - will be no impact on the City's budget though the facility City s budget, will allow for growth of the stock show, which generates a huge amount of sales and hotel tax revenue for the City. Operating Budget Impact if NOT Completed: 13/14 14/15 15/16 16/17 17/18 Because the barn is operated by the SASSRA, there would $ - - - - - be no impact on the City's budget. Performance Measures: Increased number of exhibitors at the annual stock show by approximately 200. Notes: This project is being driven by the SASSRA. Present Value of Future Cash Flows Completing Project $1,000,000 Not Completing Project Undetermined Location of Project (provide at least one of the following locators for each project location): Address: Street Address City State 1) 4608 Grape Creek Road San Angelo Texas 59
  • 349.
    City of SanAngelo, Texas 2013-2018 Capital Improvement Plan Coliseum Improvements Responsible Dept: Civic Events Project Manager: Angelica Pena Financial Plan: Prior Budget Projected Years 12/13 13/14 14/15 15/16 16/17 17/18 Future Total $ - - 60,000 - - - - - $ 60,000 Description: There are various improvements that need to be made to the Coliseum in order to properly maintain the facility. These improvements include spotlights, three new urinals, and a forklift. The spotlights that we currently have are at least 25 years old, inadequate, and parts are becoming increasingly hard to find. We need 3 @ $7K a piece ($21,000). Three urinals at the coliseum need to be replaced as they currently leak and are rusted. 3 @ $2K a piece ($6,000). Lastly, we need to replace our existing forklift. Our current forklift is barely operable and requires numerous hours of staff time to keep it running. It is used almost daily and with our upcoming indoor football season, it will be in high demmand. ($33,000) Supporting planning document(s): Project Cost: Estimated Project-to-Date ROW/Easements/Land - - Design - - Construction - - Other 60,000 - Total $ 60,000 $ - Insert a picture of your proposed project here. Click Project Schedule: % Complete on Insert in the menu bar, then Picture… then find Design: 0% picture in your files… then double click picture to insert. Implementation: 0% Funding Sources: Amount HOT fund balance $ 60,000 Operating Budget Impact if Completed: 13/14 14/15 15/16 16/17 17/18 Staff time saved in maintenance functions $ (3,300) (3,300) (3,300) (3,300) (3,300) Operating Budget Impact if NOT Completed: 13/14 14/15 15/16 16/17 17/18 None $ - - - - - Performance Measures: Notes: Civic Events could potentially recoup $3-$5K by selling our current forklift through an online auction. Present Value of Future Cash Flows Completing Project $43,282 Not Completing Project Undetermined Location of Project (provide at least one of the following locators for each project location): Address: Street Address City State 1) 50 E. 43rd St. San Angelo Texas 60
  • 350.
    City of SanAngelo, Texas 2013-2018 Capital Improvement Plan Coliseum Roof Rehabilitation Responsible Dept: Civic Events Project Manager: Angelica Pena Financial Plan: Prior Budget Projected Years 12/13 13/14 14/15 15/16 16/17 17/18 Future Total $ - - 545,000 - - - - - $ 545,000 Description: Foster Communications Coliseum has served this community well for 54 years. There's no reason why it shouldn't serve San Angelo another 50 years … but only if it is properly maintained. The venue's roof was recoated in 2001, though that project replaced foam on only 5 percent of the surface area. According to the company that then did that work, other areas of the original roof foam have since deteriorated because of a combination of wind, sun, weather and substrate movement. The roof substrate is close to realizing its expected life. That contractor recommends 100 percent of the roof should be refoamed and recoated at an estimated cost of nearly $500,000. Without the rehabilitation, the community would eventually be looking at spending tens of millions of dollars on a new venue. Supporting planning document(s): Project Cost: Estimated Project-to-Date ROW/Easements/Land - - Design 37,500 - Construction 507,500 - Other - - Total $ 545,000 $ - Insert a picture of your proposed project here. Click on Insert in Project Schedule: % Complete the menu bar, then Object… Click on the tab Create from File, Design: 0% then click Browse… Browse to your picture, then click Insert and Ok. Implementation: 0% Funding Sources: Amount Potential: Type B Sales Tax, certificates of $ 545,000 general bonds, HOT Operating Budget Impact if Completed: 13/14 14/15 15/16 16/17 17/18 No money is currently being spent on the roof, so there is no $ - - - - - impact on the budget budget. Operating Budget Impact if NOT Completed: 13/14 14/15 15/16 16/17 17/18 None $ - - - - - Performance Measures: The Coliseum hosts approximately 40 events per year, drawing more than 80,000 people. Notes: The SASSRA would certainly have a vested interest in seeing this project completed. The original estimate of $500,000 is 3 years old. I am adding a 3% increase per year to keep up with rising costs of material and labor. Present Value of Future Cash Flows Completing Project $534,838 Not Completing Project Undetermined Location of Project (provide at least one of the following locators for each project location): Address: Street Address City State 1) 50 E. 43rd St. San Angelo Texas 61
  • 351.
    City of SanAngelo, Texas 2013-2018 Capital Improvement Plan Convention Center Improvements Responsible Dept: Civic Events Project Manager: Angelica Pena Financial Plan: Prior Budget Projected Years 12/13 13/14 14/15 15/16 16/17 17/18 Future Total $ - 36,831 83,069 - - - - - $ 119,900 Description: There are several key improvements that need to be made to the Convention Center in order to properly preserve & maintain the City's most oft used facility . The renovation did not include the replacement of its 1978 marquee, which shows its age. The sign should be replaced with a modern-day digital marquee. ($45,000) Secondly, a security system has never been installed and is greatly needed in order to protect the taxpayer's investment. ($50,000) Next, the Convention Center is in dire need of new tables and chair carts. More tables would eliminate the need to borrow tables from the Stock Show & Rodeo Association or the Fort. ($13,400) Lastly, the foyer/box office area has a large area of wall space that at one time was occupied with several small flat screen TV's. The purchase of a large 90" flat screen would offer opportuniutes for advertising revenue, informational posts, and overall a more attractive appearance. ($11,500) Supporting planning document(s): Project Cost: Estimated Project-to-Date ROW/Easements/Land - - Design - - Construction - - Other 119,900 - Total $ 119,900 $ - Insert a picture of your proposed project here. Click Project Schedule: % Complete on Insert in the menu bar, then Picture… then find Design: 0% picture in your files… then double click picture to insert. Implementation: 0% Funding Sources: Amount HOT fund balance and Type B $ 83,069 Type B Sales Tax left over from Convention $ 36,831 Center renovation Operating Budget Impact if Completed: 13/14 14/15 15/16 16/17 17/18 Staff time savings on maintenance functions $ (1,200) (1,200) (1,200) (1,200) (1,200) Operating Budget Impact if NOT Completed: 13/14 14/15 15/16 16/17 17/18 None $ - - - - - Performance Measures: Result & Efficiency: A new marquee would allow us to spolight more events, give us another tool for disseminating information and could yield cost-efficiencies as a revenue generator through the selling of advertisements on it Notes: Citywise marketing may be able to help us recover costs by leveraging a sponsor who would have a static presence on the marquee. In addition they may be able to sell advertising on the large flat screen TV. Present Value of Future Cash Flows Completing Project $112,679 Not Completing Project Undetermined Location of Project (provide at least one of the following locators for each project location): Address: Street Address City State 1) 500 Rio Concho Drive San Angelo Texas 62
  • 352.
    City of SanAngelo, Texas 2013-2018 Capital Improvement Plan Fort Concho Barracks 6 New Floor Responsible Dept: Fort Concho Project Manager: Robert Bluthardt Financial Plan: Prior Budget Projected Years 12/13 13/14 14/15 15/16 16/17 17/18 Future Total $ - - 15,000 - - - - - $ 15,000 Description: Fort and city staff replaced the flagstone floor with a poured concrete pad in the spring of 2011. All material and equipment costs were covered by the Fort Concho Foundation. While the new pad has eliminated safety concerns and has increased usage by staff and renters, we seek funding to complete the project with a period board floor. This would enhance both the appearance and function of this building space. Supporting planning document(s): 2007 Site Review Project Cost: Estimated Project-to-Date ROW/Easements/Land - - Design 1,000 - Construction 14,000 - Other - - Total $ 15,000 $ - Insert a picture of your proposed project here. Click on Insert in the menu bar, then Object… Project Schedule: % Complete Click on the tab Create from File, Design: 2 months 0% then click Browse… Implementation: 6 months 0% Browse to your picture, then click Insert and Ok. Funding Sources: Amount Undetermined $ 15,000 Potential: HOT allocation Operating Budget Impact if Completed: 13/14 14/15 15/16 16/17 17/18 Increased rental activity will cover any I d t l ti it ill $ - - - - - proportional increase in utilities. Operating Budget Impact if NOT Completed: 13/14 14/15 15/16 16/17 17/18 Staff time and materials to spot-repair this floor year-to-year. $ 1,000 1,000 1,000 1,500 1,500 Performance Measures: More rentals of facility; increased vendor income at site festivals. Use and rental activity increases. Notes: Staff has estimated the project two ways: materials only with staff and inmate labor. The costs obviously increase if bid out as a total package. Staff can perform this project with inmate labor in an efficient and proper manner. The Fort Concho Board and staff ranked this project in the top five in its 2007 site review. Present Value of Future Cash Flows Completing Project $14,720 Not Completing Project $5,646 Location of Project (provide at least one of the following locators for each project location): Address: Street Address City State 1) Flipper St. & Burgess St. San Angelo Texas 63
  • 353.
    City of SanAngelo, Texas 2013-2018 Capital Improvement Plan Heating and Cooling Unit Replacements at Fort Concho Responsible Division: Fort Concho Project Manager: Bob Bluthardt Financial Plan: Prior Budget Projected Years 12/13 13/14 14/15 15/16 16/17 17/18 Future Total $ - - 125,000 20,000 15,000 - - - $ 160,000 Description: This CIP project proposes to replace the obsolete and inefficient heating/cooling units at five of the fort's most used structures: Barracks 1 Visitor Center, Officers' Quarters 1, Officers' Quarters 8, Quartermaster and Commissary. Also, we propose to add basic air conditioning to the Bay 3 Stables Hall. Rental activity at all structures, especially the Stables, has increased in recent years but the Stables is not useable without air conditioning from May to September. These structures serve the public with public events and meetings, ongoing displays and programs, and public service. Combined, these six structures consume over 1/3 of the total site power usage. These six structures also serve the majority of site guests. Replacement would drastically decrease repair costs while reducing power consumption. Supporting planning document(s): Staff are compiling estimates for various replacement options at this time. Project Cost: Estimated Project-to-Date ROW/Easements/Land - - Design - - Construction 160,000 - Other - - Total $ 160,000 $ - Insert a picture of your proposed project here. Click on Insert in the menu bar, then Object… Project Schedule: % Complete Click on the tab Create from File, Design: N/A 0% then click Browse… Implementation: 2016 0% Browse to your picture, then click Insert and Ok. Funding Sources: Amount Undetermined. Potentially: $ 160,000 General Fund, HOT allocation, grants Operating Budget Impact if Completed: 13/14 14/15 15/16 16/17 17/18 Ongoing repairs l O i i less power savings i $ 5,000 7,500 10,000 12,500 15,000 Operating Budget Impact if NOT Completed: 13/14 14/15 15/16 16/17 17/18 Ongoing repairs and possible replacement and lost revenue $ 7,500 10,000 15,000 20,000 25,000 Performance Measure: Fewer equipment breakdowns; lower repair costs; fewer visitor & guest complaints; lower power consumption levels for same five buildings. Notes: Notes: Replacing older and inefficient HVAC units will result in both lower repair costs and power consumption. Adding air conditioning to the Stables will increase usage and rental revenue. Present Value of Future Cash Flows Completing Project $202,933 Not Completing Project $72,469 Location of Project (provide at least one of the following locators for each project location): Address: Street Address City State 1) 630 S. Oakes St. San Angelo Texas 64
  • 354.
    City of SanAngelo, Texas 2013-2018 Capital Improvement Plan Fort Concho Post Bandstand Responsible Dept: Fort Concho Project Manager: Robert Bluthardt Financial Plan: Prior Budget Projected Years 12/13 13/14 14/15 15/16 16/17 17/18 Future Total $ - - 25,000 - - - - - $ 25,000 Description: Located at the west end of the Parade Ground, the Post Bandstand represents one of the last exterior improvements for site development. The bandstand would enhance the site's appearance, provide a historic setting for public programs and concerts, and serve various community groups. The Fort Concho Board is working with local professional building and trade groups to craft a reconstruction plan. Supporting planning document(s): 2007 Site Review Project Cost: Estimated Project-to-Date ROW/Easements/Land - - Design - - Construction 25,000 - Other - - Total $ 25,000 $ - Insert a picture of your proposed project here. Click on Insert in the menu bar, then Object… Project Schedule: % Complete Click on the tab Create from File, Design: Fall 2012 100% then click Browse… Implementation: Summer 2013 0% Browse to your picture, then click Insert and Ok. Funding Sources: Amount Potential: Private funding, Fort Concho $ 25,000 Operating Budget Impact if Completed: 13/14 14/15 15/16 16/17 17/18 Utilities based on staff estimates. Utiliti b d t ff ti t $ 250 250 250 250 250 Operating Budget Impact if NOT Completed: 13/14 14/15 15/16 16/17 17/18 None $ - - - - - Performance Measures: New outdoor concerts; new public events. Notes: The Fort Concho Board and staff have ranked this project in the top five in its 2007 site review. Staff have estimated the materials for this project at $15,000. Labor costs, if project is bid out, doubles overall costs. Update/January 2009 Staff arranging meeting with San Angelo Home Builders Association to explore volunteer assistance in construction. Present Value of Future Cash Flows Completing Project $25,716 Not Completing Project Undetermined Location of Project (provide at least one of the following locators for each project location): Address: Street Address City State 1) 700 Block of S. Oakes San Angelo Texas 65
  • 355.
    City of SanAngelo, Texas 2013-2018 Capital Improvement Plan Fort Concho Visitors Center Restoration Improvements Responsible Dept: Fort Concho Project Manager Robert Bluthardt Financial Plan: Prior Budget Projected Years 12/13 13/14 14/15 15/16 16/17 17/18 Future Total $ - - 100,000 750,000 250,000 400,000 - - $ 1,500,000 Description: Barracks 1 was renovated as the fort's Visitor Center as part of the major 1995 Regional Urban Design Assessment Team projects that transformed the surrounding acres into El Paseo de Santa Angela. Unfortunately, the project ran out of money and the east bay of Barracks 1 was left unfinished. A staff-board study has concluded that the restoration of this space must be tied to an overall building renovation to better serve our guests. This renovation would include an expanded gift shop, visitor orientation area and theatre, climate controlled quality display space, and administrative offices. Staff will partner with several area cultural agencies to complete a Cultural District Study in the spring of 2012. Formal planning of this Visitor Center will follow the recommendations of that study. Supporting planning document(s): Project Cost: Estimated Project-to-Date ROW/Easements/Land - - Design 100,000 - Construction 1,400,000 - Other - - Total $ 1,500,000 $ - Insert a picture of your proposed project here. Click on Insert in the menu bar, then Object… Project Schedule: % Complete Click on the tab Create from File, Design: 2013 0% then click Browse… Implementation: 2017 0% Browse to your picture, then click Insert and Ok. Funding Sources: Amount Type B Sales Tax $ 1,000,000 Potential funding: San Angelo Health $ 500,000 Foundation, Meadows Foundation, and Houston Operating Budget Impact if Completed: 13/14 14/15 15/16 16/17 17/18 Extra R E t Revenue $ (10,000) (15,000) (17,500) (17,500) (17,500) Operating Budget Impact if NOT Completed: 13/14 14/15 15/16 16/17 17/18 Repairs and maintenance $ 5,000 7,500 15,000 17,500 20,000 Performance Measures: Increased attendance: increased Gift Shop Sales; increased tour revenue; additional media attention Notes: Project will focus on barracks 1; possibly barracks 2 and maybe partial reconstruction of Barracks 3-4. Present Value of Future Cash Flows Completing Project $1,356,718 Not Completing Project $60,739 Location of Project (provide at least one of the following locators for each project location): Address: Street Address City State 1) 630 S. Oakes San Angelo Texas 66
  • 356.
    City of SanAngelo, Texas 2013-2018 Capital Improvement Plan Fort Concho OQ 1 Rear Room & Roof Repairs Responsible Dept: Fort Concho Project Manager: Robert Bluthardt Financial Plan: Prior Budget Projected Years 12/13 13/14 14/15 15/16 16/17 17/18 Future Total $ - - 75,000 - - - - - $ 75,000 Description: The rear room of Officers' Quarters 1 lacks a proper floor and the entire rear section is showing signs of structural distress. Staff recommends a new concrete floor with a wooden floor to follow, relocation of utility pipes and lines, and new supports for the walls. A preliminary engineering report was completed in 2008. As this building is the city's VIP quarters and serves many guests and functions, these improvements are both aesthetic and functional to the building's future. The current room condition poses a major safety hazard to staff and contractors. Additionally, the dormers are failing and need repair. Supporting planning document(s): 2008 Engineering Report Project Cost: Estimated Project-to-Date ROW/Easements/Land - Design 7,000 - Construction 68,000 - Other - - Total $ 75,000 $ - Insert a picture of your proposed project here. Click on Insert in the menu bar, then Object… Project Schedule: % Complete Click on the tab Create from File, Design: 2-4 months 0% then click Browse… Implementation: 4-6 months 0% Browse to your picture, then click Insert and Ok. Funding Sources: Amount Undetermined $ 75,000 Potential: HOT allocation; private contributions - Operating Budget Impact if Completed: 13/14 14/15 15/16 16/17 17/18 Utilities Utiliti cost b t based on current events. d t t $ 750 750 750 750 750 Revenue increase 1,000 1,500 1,500 1,500 1,500 Operating Budget Impact if NOT Completed: 13/14 14/15 15/16 16/17 17/18 No impact $ - - - - - Performance Measures: Increase in building rentals. Increase in overall building usage. Notes: Preliminary study by staff, and local architect; engineering report available. Full plans available in 60 days. Present Value of Future Cash Flows Completing Project $83,747 Not Completing Project $72,469 Location of Project (provide at least one of the following locators for each project location): Address: Street Address City State 1) 111 East Ave. D San Angelo Texas 67
  • 357.
    City of SanAngelo, Texas 2013-2018 Capital Improvement Plan Wayfinding Phases I-III Responsible Dept: Development Services Project Manager: AJ Fawver Financial Plan: Prior Budget Projected Years 12/13 13/14 14/15 15/16 16/17 17/18 Future Total $ - - - 100,000 100,000 100,000 - - $ 300,000 Description: Wayfinding refers to the system of signs & symbols placed at the entrances & throughout districts, campuses & more recently, entire cities. The San Angelo Convention & Visitors Bureau, City of San Angelo, COSADC/Chamber of Commerce & Angelo State University have jointly funded the development of a specifications & details manual for a city-wide wayfinding system was completed in 2010. Because one of the most frequently heard complaints businesses and destination operators hear is that visitors and newcomers to the city have difficulty finding our many sites of interest, cities must make the visitor/newcomer experience a positive one to ensure that tourists return and/or stay as long as possible. From an aesthetic standpoint, signs such as those contained in a typical wayfinding system help designate certain areas as unique or interesting for residents as well. Supporting planning document(s): Wayfinding contract between San Angelo CVB and The Douglas Group, Staff Report to City Council regarding wayfinding Project Cost: Estimated Project-to-Date ROW/Easements/Land 10,000 - Design - - Construction 270,000 - Other 20,000 - Total $ 300,000 $ - Project Schedule: % Complete Design: 50% Implementation: 2012 0% Funding Sources: Amount Undetermined $ 300,000 Operating Budget Impact if Completed: 13/14 14/15 15/16 16/17 17/18 Damaged sign replacement $ 500 500 500 500 500 Operating Budget Impact if NOT Completed: 13/14 14/15 15/16 16/17 17/18 No impact $ - - - - - Performance Measure: 1.) Signs will be installed in three phases per the Wayfinding Master Plan. Performance will be measured by ability to fabricate and install signs in accordance with the master plan. 2.) Increased visitorship at local tourist sites. 3.) Higher tourist satisfaction surveys (per CVB) Notes: Wayfinding signage, large and small, sends messages to the visitor, investor, and local citizens about the quality & character of the city, and improve San Angelo's ability to attract and maintain economic development assets. Project locations have been outlined and preliminarily accepted by the Wayfinding Steering Committee. Present Value of Future Cash Flows Completing Project $285,922 Not Completing Project Undetermined Location of Project (provide at least one of the following locators for each project location): Address: Street Address City State 1) City Wide San Angelo Texas 68
  • 358.
    City of SanAngelo, Texas 2013-2018 Capital Improvement Plan Neighborhood Pedestrian Improvement Program Responsible Dept: MPO Project Manager: Doray Hill, Jr. Financial Plan: Prior Budget Projected Years 12/13 13/14 14/15 15/16 16/17 17/18 Future Total $ - - 1,000,000 1,000,000 1,000,000 1,000,000 1,000,000 - $ 5,000,000 Description: Improve Pedestrian access in neighborhoods and around schools. To include sidewalks, sidewalk improvements, ped/bike crossing improvements, off-street bike/ped facilities, bike lanes, bus shelters, improved crosswalks, and crosswalks. This project will be primarily for neighborhoods located in northeast San Angelo. Supporting planning document(s): Bicycle and Pedestrian Plan, Metropolitan Transportation Plan, Pedestrian-Transit Master Plan, COSA Comprehensive Plan Project Cost: Estimated Project-to-Date ROW/Easements/Land - - Design 1,300,000 - Construction 2,900,000 - Other 800,000 - Total $ 5,000,000 $ - Insert a picture of your proposed project here. Project Schedule: % Complete Click on Insert in the menu bar, then Picture… Design: Fall 2013-Spring 2014 0% then find picture in your files… then double click picture to insert. Implementation: Fall 2014 0% Funding Sources: Amount Transportation Alternatives Grant $ 4,000,000 20% Match/COSA General Fund $ 1,000,000 Operating Budget Impact if Completed: 13/14 14/15 15/16 16/17 17/18 $ - - - - - Operating Budget Impact if NOT Completed: 13/14 14/15 15/16 16/17 17/18 This project would have relatively low maintenance costs. $ - - 20,000 - 20,000 Once the infrastructure is completed, future costs would inlcude re-stripping, minor sidewalk repairs and signange replacement. Performance Measures: Provide a healthy alternative mode of transportation; Provide connectivity to areas of town; Provide non-motorized mobility; Improve neighborhood aesthetics Notes: Project would be submitted under FHWA or FTA program grant call. Present Value of Future Cash Flows Completing Project $4,727,076 Not Completing Project $37,105 Location of Project (provide at least one of the following locators for each project location): Address: Street Address City State 1) 1900 Ricks Drive San Angelo Texas 2) 120 E. 39th Street San Angelo Texas 3) 1202 East 22nd San Angelo Texas 69
  • 359.
    City of SanAngelo, Texas 2013-2018 Capital Improvement Plan Santa Fe Train Depot Improvements Responsible Division: Real Estate Division/Office of City Attorney Project Manager: Cindy M. Preas Financial Plan: Prior Budget Projected Years 12/13 13/14 14/15 15/16 16/17 17/18 Future Total $ - - 21,238 20,000 15,000 22,500 22,500 25,000 $ 126,238 Description: The Historic Santa Fe Passenger Depot is on the National Register of Historic Places, and as such is an integral part of the City's history. It is imperative that the City preserve the integrity of this great landmark. The Historic Orient-Santa Fe Depot was built in 1909 as the headquarters for the Texas Corporation of the KCM&O. The City acquired the historic building on November 15, 1993 and soon entered into a lease with the Historic Santa Fe Depot, Inc. for management of the historic building. The Depot celebrated its 100th anniversary in September 2010 and it remains one of the most recognized and photographed landmarks in the City. Projects include Labor costs to replace damaged roof tiles ($12,500); termite treatment ($4,238), install new security lights (2,500), Repair Interior Ceiling ($2,000), Install Automated Fresh Air Intake and Exhaust ($10,000), Repave/Seal Blacktop ($10,000), Install Ductless Air Conditioning System ($15,000) and Painting Exterior ($45,000). Supporting planning document(s): Annual Building Inspection Form Project Cost: Estimated Project-to-Date ROW/Easements/Land - - Design - - Construction - Other 126,238 - Total $ 126,238 $ - Insert a picture of your proposed project here. Click on Insert in the menu bar, then Object… Project Schedule: % Complete Click on the tab Create from File, Design: 0% then click Browse… Implementation: 2014 0% Browse to your picture, then click Insert and Ok. Funding Sources: Amount Undetermined $ 126,238 Operating Budget Impact if Completed: 13/14 14/15 15/16 16/17 17/18 None $ - - - - - Operating Budget Impact if NOT Completed: 13/14 14/15 15/16 16/17 17/18 None $ - - - - - Performance Measure: Increase in visitor and public bookings. Notes: In April 2008, a major storm hit San Angelo, causing damage to the tile roof, three ceiling water blisters in the interior, window damage, and dormer damage. Subsequently, the damage has progressed. Additionally, parking lot shows signs of stress due to the weight of transit buses. In 2009, the City spent $49,360 in painting the exterior of the Depot and installing new gutters. In 2012 the City repaired the dormer windows and purchased replacement roof tiles. Present Value of Future Cash Flows Completing Project $117,954 Not Completing Project Undetermined Location of Project (provide at least one of the following locators for each project location): Address: Street Address City State 1) 703 S. Chadbourne San Angelo Texas 70
  • 360.
    City of SanAngelo, Texas 2013-2018 Capital Improvement Plan Spur Parking Garage Renovation and Repair Responsible Division: Real Estate Div./Office of the City Attorney Project Manager: Cindy Preas Financial Plan: Prior Budget Projected Years 12/13 13/14 14/15 15/16 16/17 17/18 Future Total $ - - 1,825,000 - - - - - $ 1,825,000 Description: The Spur Parking Garage services the downtown area including the new Stephen Central Library. The Spur Parking Garage must be renovated and repaired to meet City code regulations. Project: Primary Structural Steel Members must be: Cleaned and Sandblasted; apply coating and paint for rust protection; reinforce and/or replace specific structural steel members. Replacing existing staircase in its entirety. In addition, include the demolition of existing second, third and fourth level floor systems. Floor system removal will include removal or existing steel decks and reinforced concrete support slabs. Other features may include removal of any existing light poles and fixtures, restriping, tire stop replacement and updated signs. Supporting planning document(s): Forensic Report, Construction Documents of Plans and Specifications, Survey, Lab Testing, Attorney Fees Project Cost: Estimated Project-to-Date ROW/Easements/Land - - Design 50,000 - Construction 1,500,000 - Other 275,000 - Total $ 1,825,000 $ - Insert a picture of your proposed project here. Click on Insert in the menu bar, then Object… Project Schedule: % Complete Click on the tab Create from File, Design: 0% then click Browse… Implementation: 2014 0% Browse to your picture, then click Insert and Ok. Funding Sources: Amount Undetermined $ 1,825,000 Operating Budget Impact if Completed: 13/14 14/15 15/16 16/17 17/18 None $ - $ - $ - $ - $ - Operating Budget Impact if NOT Completed: 13/14 14/15 15/16 16/17 17/18 Loss of Revenue - Garage closed $ 20,000 $ 20,000 $ 20,000 $ 20,000 $ 20,000 Performance Measure: Public Safety Property Revenue will increase based on rental parking slots. Notes: In October 2010, the structural integrity of the Sppur Parking Garage was assessed to determine the factors contributing to the corrosion of steel components. On March 5, 2011, floors 2-4 were closed and use prohibited after load analysis revealed the primary structural building steel components cannot withstand the associated loading and will require bracing in the transverse direction. It is recommended the project be completed in one phase ($1,825,000). If project is broken up into three phases costs are considerably higher ($2,950,000). Saving if completed as one phase $1,125,000 Present Value of Future Cash Flows Completing Project $1,790,972 Not Completing Project $94,542 Location of Project (provide at least one of the following locators for each project location): Address: Street Address City State 1) 30 W Twohig Avenue San Angelo Texas 71
  • 361.
    City of SanAngelo, Texas 2013-2018 Capital Improvement Plan 29th Street Complex Renovation Responsible Division: Parks & Recreation Project Manager: Carl White Financial Plan: Prior Budget Projected Years 12/13 13/14 14/15 15/16 16/17 17/18 Future Total $ - - - 1,650,000 - - - - $ 1,650,000 Description: The intent of the renovation is to co-locate Lake View and Northern Little Leagues at the 29th Street Complex location in order to maximize efficiencies, minimize maintenance costs and to provide these leagues with new fields and facilities. The current intent is to develop two small complexes with three fields each (two standard and one t-ball) with separate concession and restrooms or one four-field quad with a shared building with restrooms and possibly separate concessions and two separate t-ball fields. Of course parking, lighting and other improvements would need to be made.Lake View Little League currently plays on three fields (two standard and one t-ball) on SAISD property east of Lake View High School. The City provides all landscape maintenance. The League provides facility maintenance and programming. Relocation of Lake View Little League would eliminate the City’s cost of maintenance at this location which currently runs about $36,000/year. Northern Little League currently plays on one field at the 29th Street Complex (the only field remaining after the complex was converted to mostly open space) and four fields at the 19th Street location (counting the challenger field). The City provides all landscape maintenance. The League provides facility maintenance and programming. Relocation of Northern Little League and conversion of the 19th Street location to practice fields (challenger field to remain) would reduce the City’s cost for maintenance from about $48,000/year to roughly $20,000/year. The current cost to maintain the 29th Street Complex is about $60,000 (down from about $120,000 prior to conversion). Again, the City only provides landscape maintenance at this location which is leased from the United States Army Corps of Engineers. Supporting planning document(s): 2001 and 2005 Parks and Recreation Master Plan Project Cost: Estimated Project-to-Date ROW/Easements/Land - - Design 100,000 - Construction 1,550,000 - Other - - Total $ 1,650,000 $ - Insert a picture of your proposed project here. Click on Insert in the menu bar, then Object… Project Schedule: % Complete Click on the tab Create from File, Design: 2014/2015 0% then click Browse… Implementation: 2014/2015 0% Browse to your picture, then click Insert and Ok. Funding Sources: Amount Type B Sales Tax $ 1,650,000 Operating Budget Impact if Completed: 13/14 14/15 15/16 16/17 17/18 Operations and Maintenance $ 50,000 60,000 70,000 80,000 90,000 Close Lake View Little League (36,000) (36,000) (36,000) (36,000) (36,000) Reduce Northern Little League (28,000) (28,000) (28,000) (28,000) (28,000) Operating Budget Impact if NOT Completed: 13/14 14/15 15/16 16/17 17/18 No impact $ - - - - - Performance Measure: To increase the number of fields from 4 practice fields to 4 fully-improved little league and 2 t-ball fields; to allow for approximately 55 teams to play at the renovated complex; to allow for approximately 550 children to participate in little league baseball at the complex. Notes: Project currently on hold, as of December 2012, due to maintenance cost commitment. Present Value of Future Cash Flows Completing Project $1,615,625 Not Completing Project Undetermined Location of Project (provide at least one of the following locators for each project location): Address: Street Address City State 1) 2929 Golf Course Rd San Angelo Texas 72
  • 362.
    City of SanAngelo, Texas 2013-2018 Capital Improvement Plan Community Aquatics Facility Responsible Dept: Recreation Project Manager: MaryAnn Vasquez Financial Plan: Prior Budget Projected Years 12/13 13/14 14/15 15/16 16/17 17/18 Future Total $ 3,219,787 42,635 - - - - - $ 3,262,422 Description: Build a regional water park for all ages to promote tourism and economic growth in San Angelo. The City of San Angelo maintains and operates one Municipal Swimming Pool, built in 1938. A Community Aquatics Facility would provide the City of San Angelo and the region with a new recreational attraction with all the elements of a major water theme park. The new Aquatics Facility will be constructed on City-owned land along the Concho River enhancing the river. The park will provide an additional entertainment venue for the citizens of San Angelo and the Concho Valley region during the hot summer months. Security system installed December 2012. Landscaping is remaining. Supporting planning document(s): Parks and Recreation Open Space Master Plans 2001 and 2005 Project Cost: Estimated Project-to-Date ROW/Easements/Land - - Design 255,000 270,565 Construction 2,650,000 2,789,318 Other 357,422 177,539 Total $ 3,262,422 $ 3,237,422 Insert a picture of your proposed project here. Click on Insert in the menu bar, then Object… Project Schedule: % Complete Click on the tab Create from File, Design: March 2011 99% then click Browse… Construction: May 2011-2012 0% Browse to your picture, Opening: April 2012 0% then click Insert and Ok. Funding Sources: Amount Type B Sales Tax Funds $ 3,241,197 Donation from Historic Preservation and $ 21,225 Old Town Conservancy Operating Budget Impact if Completed: 13/14 14/15 15/16 16/17 17/18 Salaries $ 155,500 $ 160,000 165,000 170,000 175,000 Utilities 80,000 85,000 90,000 95,000 100,000 Operations and Maintenance 55,000 60,000 65,000 70,000 75,000 Operating Budget Impact if NOT Completed: 13/14 14/15 15/16 16/17 17/18 Loss of revenue from existing pool $ 50,000 52,000 54,000 56,000 58,000 Performance Measures: Estimated revenue of $122,000. Notes: Project substantially complete April 2012 and opened Memorial weekend. Revenues for the season exceeded expectations at $188,000. Present Value of Future Cash Flows Completing Project $1,553,119 Not Completing Project $254,906 Location of Project (provide at least one of the following locators for each project location): Address: Street Address City State 1) 18 E. Ave A San Angelo Texas 73
  • 363.
    City of SanAngelo, Texas 2013-2018 Capital Improvement Plan Air Conditioning at Recreation Centers Responsible Division: Parks and Recreation Project Manager: MaryAnn Vasquez Financial Plan: Prior Budget Projected Years 12/13 13/14 14/15 15/16 16/17 17/18 Future Total $ - - - 500,000 - - - - $ 500,000 Description: Install air conditioning units at each Recreation Center (Carl Ray and Southside). Currently the centers do not have air conditioning, the gyms and meetings do have heating. The summer temperatures in the gym reach over 100 degrees. The gyms are rarely used until 6 pm because of the extreme heating conditions. All programming takes place in the mornings before Noon, limiting the number of paid campers to 60. Limited athletic programs take place after 6 pm but the gyms are still extremely hot for players and fans. Supporting planning document(s): Project Cost: Estimated Project-to-Date ROW/Easements/Land - - Design - - Construction - - Other 500,000 - Total $ 500,000 $ - Insert a picture of your proposed project here. Click on Insert in the menu bar, then Object… Project Schedule: % Complete Click on the tab Create from File, Design: 2014 0% then click Browse… Implementation: 2014 0% Browse to your picture, then click Insert and Ok. Funding Sources: Amount Undetermined $ 500,000 Operating Budget Impact if Completed: 13/14 14/15 15/16 16/17 17/18 Increased electrical costs $ 50,000 55,000 60,000 65,000 70,000 Increased revenue for summer camps & sport leagues (12,500) (12,500) (12,500) (12,500) (12,500) Operations and Maintenance Operating Budget Impact if NOT Completed: 13/14 14/15 15/16 16/17 17/18 No impact $ - - - - - Performance Measure: Increase the revenue program opportunities to include the use of the gym, currently no program takes place from Noon-6:00 pm. Notes: 2-22-12: have had discussions with facilities maintenance about installation of cool roof and other alternatives that may be cost effective in cooling the gym portion of the building. Present Value of Future Cash Flows Completing Project $705,174 Not Completing Project Undetermined Location of Project (provide at least one of the following locators for each project location): Address: Street Address City State 1) 111 Santa Fe Park Drive San Angelo Texas 2) Ben Ficklin San Angelo Texas 74
  • 364.
    City of SanAngelo, Texas 2013-2018 Capital Improvement Plan Youth Soccer Complex at Glenna St Responsible Dept: Parks & Recreation Project Manager: Carl White Financial Plan: Prior Budget Projected Years 12/13 13/14 14/15 15/16 16/17 17/18 Future Total $195,000 75,000 - - - - - $ 270,000 Description: Phase I-Lighting of two areas to include four additional fields. Increase participation for league and tournament play, with a direct economic impact on the sales tax dollars. Opportunity to invite and host more teams during league and tournament games. Installation of 1000 ft safety fence along Glenna Street to prevent errant balls from landing in the street, providing safety for the players and fans. Phase II-Repair of large parking lot, overlay and re-striping of current parking lot. Games attract a large number of fans. Addressing the limited parking and unmarked spaces will prevent accidents. Supporting planning document(s): Parks and Recreation Open Space Master Plans 2001 and 2005 Project Cost: Estimated Project-to-Date ROW/Easements/Land - - Design - - Construction 270,000 195,000 Other - - Total $ 270,000 $ 195,000 Insert a picture of your proposed project here. Click on Insert in the menu bar, then Object… Project Schedule: % Complete Click on the tab Create from File, Design: 100% then click Browse… Implementation: 72% Browse to your picture, Phase I 100% then click Insert and Ok. Phase II 0% Funding Sources: Amount Type B Sales Tax $ 270,000 Operating Budget Impact if Completed: 13/14 14/15 15/16 16/17 17/18 Maintenance provided by SASA $ - - - - - No Impact Operating Budget Impact if NOT Completed: 13/14 14/15 15/16 16/17 17/18 No Impact $ - - - - - Performance Measures: Increase the number of games which can be played in the evening by up to six, depending on the time of year Notes: Phase I Improvements - irrigation, lighting, and safety fence were completed and installed in March 2008. Phase II parking lot paving and additional parking improvements are anticipated to be completed in 13/14. NOTE: Phase II is awaiting coordination with the San Angelo Soccer Association (SASA) who is covering 1/2 of the cost of the project. As of December 2012, we are still waiting on SASA for their matching funds. Present Value of Future Cash Flows Completing Project $75,000 Not Completing Project Undetermined Location of Project (provide at least one of the following locators for each project location): Address: Street Address City State 1) 1601 Glenna St San Angelo Texas 75
  • 365.
    City of SanAngelo, Texas 2013-2018 Capital Improvement Plan Bradford Neighborhood & School Park Responsible Division: Parks Project Manager: Carl White Financial Plan: Prior Budget Projected Years 12/13 13/14 14/15 15/16 16/17 17/18 Future Total 175,000 - - - - - $ 175,000 Description: To develop the existing undeveloped property adjacent to the new Bradford Elementary School (property owned by SAISD) as a neighborhood and school park. Development would include a small pavilion or picnic shelter, some unique playground equipment to complement the equipment at the school, walkways, practice ball field space, some lighting, some irrigation, and some other basic park amenities. Supporting planning document(s): Project Cost: Estimated Project-to-Date ROW/Easements/Land - - Design 5,000 - Construction 170,000 - Other - - Total $ 175,000 $ - Insert a picture of your proposed project here. Click on Insert in the menu bar, then Object… Project Schedule: % Complete Click on the tab Create from File, Design: 2013 0% then click Browse… Implementation: Spring 2014 0% Browse to your picture, then click Insert and Ok. Funding Sources: Amount Type B Sales Tax $ 175,000 Operating Budget Impact if Completed: 13/14 14/15 15/16 16/17 17/18 Operations and Maintenance $ - 17,500 17,850 18,200 18,550 Operating Budget Impact if NOT Completed: 13/14 14/15 15/16 16/17 17/18 No impact $ - - - - - Performance Measure: To create park visitation to an anticipated rate of 10,830 visitors each year. Notes: Joint park development project with SAISD. Interlocal cooperation agreement with SAISD should be complete in March 2013. Design process will begin after that. Present Value of Future Cash Flows Completing Project $242,486 Not Completing Project Undetermined Location of Project (provide at least one of the following locators for each project location): Address: Street Address City State 1) 1202 E. 22nd St. San Angelo Texas 76
  • 366.
    City of SanAngelo, Texas 2013-2018 Capital Improvement Plan Brentwood Neighborhood Park Renovation Responsible Dept: Parks Project Manager: Carl White Financial Plan: Prior Budget Projected Years 12/13 13/14 14/15 15/16 16/17 17/18 Future Total $ - - - 275,000 - - - $ 275,000 Description: Renovate the existing neighborhood park with a picnic shelter/pavilion, a playground, walkways, lighting, and landscaping. This project was identified as needed due to several reasons: the playground equipment does not meet current national safety standards and has outlived its reasonable lifespan of up to twenty years; walkways are not fully accessible; picnic shelter/pavilions are recognized as highly needed by both the 2001 and 2005 updated Parks, Recreation, and Open Space Master Plan; the existing irrigation system is poor; park and security lighting needs to be improved; and the aesthetic quality of the park needs to be improved. This project will also include development of the 2003, 4 acre addition to this park with the Jefferson Street pond with walkways, pond access, picnic tables, benches, etc. Brentwood Park was developed in the late 1950's and early 1960's. Supporting planning document(s): 2001 and 2005 updated Parks, Recreation, and Open Space Master Plan Parks Department internal needs assessments Project Cost: Estimated Project-to-Date ROW/Easements/Land - - Design 10,000 - Construction 265,000 - Other - - Total $ 275,000 $ - Insert a picture of your proposed project here. Click on Insert in Project Schedule: % Complete the menu bar, then Object… Click on the tab Create from File, Design: 0% then click Browse… Browse to your picture, then click Insert and Implementation: 2014/2015 0% Funding Sources: Amount Type B sales tax $ 275,000 Operating Budget Impact if Completed: 13/14 14/15 15/16 16/17 17/18 Based on renovation value. $ - - 15,000 15,250 15,500 Operations and Maintenance Operating Budget Impact if NOT Completed: 13/14 14/15 15/16 16/17 17/18 No impact $ - - - - - Performance Measures: Increase park visitation from an estimated 10,830 visitors each year to an estimated 16,245 visitors each year Notes: Present Value of Future Cash Flows Completing Project $307,267 Not Completing Project Undetermined Location of Project (provide at least one of the following locators for each project location): Address: Street Address City State 1) 1300 Block Howard San Angelo Texas 77
  • 367.
    City of SanAngelo, Texas 2013-2018 Capital Improvement Plan Brown Neighborhood Park Renovation Responsible Dept: Parks Project Manager: Carl White Financial Plan: Prior Budget Projected Years 12/13 13/14 14/15 15/16 16/17 17/18 Future Total $ - - - 175,000 - - - $ 175,000 Description: Renovate the existing neighborhood park with a picnic shelter/pavilion, a playground, walkways, lighting, and landscaping. This project was identified as needed due to several reasons: the playground equipment does not meet current national safety standards and has outlived its reasonable lifespan of up to twenty years; walkways are not fully accessible; picnic shelter/pavilions are recognized as highly needed by both the 2001 and 2005 updated Parks, Recreation, and Open Space Master Plan; the existing irrigation system is poor; park and security lighting needs to be improved; and the aesthetic quality of the park needs to be improved. Brown Park was developed in 1952 and has not been renovated since that time. Supporting planning document(s): 2001 and 2005 updated Parks, Recreation, and Open Space Master Plan Parks Department internal needs assessments Project Cost: Estimated Project-to-Date ROW/Easements/Land - - Design 5,000 - Construction 170,000 - Other - - Total $ 175,000 $ - Insert a picture of your proposed project here. Click on Insert in Project Schedule: % Complete the menu bar, then Object… Click on the tab Create from File, Design: 2015 0% then click Browse… Browse to your picture, then click Insert and Implementation: 2016 0% Funding Sources: Amount Type B sales tax $ 175,000 Operating Budget Impact if Completed: 13/14 14/15 15/16 16/17 17/18 Operations and Maintenance $ - - - 12,000 12,500 Based on renovation value value. Operating Budget Impact if NOT Completed: 13/14 14/15 15/16 16/17 17/18 No impact $ - - - - - Performance Measures: Increase park visitation from an estimated 5,415 visitors each year to an estimated 10,830 visitors each year Notes: Present Value of Future Cash Flows Completing Project $187,898 Not Completing Project Undetermined Location of Project (provide at least one of the following locators for each project location): Address: Street Address City State 1) 300 Block Johnson Street and W Twohig Ave. San Angelo Texas 78
  • 368.
    City of SanAngelo, Texas 2013-2018 Capital Improvement Plan Central Control Irrigation Responsible Dept: Parks & Recreation Project Manager: Carl White Financial Plan: Prior Budget Projected Years 12/13 13/14 14/15 15/16 16/17 17/18 Future Total $ - 110,500 - - - - - $ 110,500 Description: The City recently purchased the components needed to set up the new Rio Concho Sports Complex and Community Park with a central control irrigation system. Park's staff is installing, in-house, the central control irrigation system controller at 18 park and sports field sites (22 controllers). This type of computerized automated system will allow the staff to control the settings, troubleshoot, receive data on problematic irrigation systems, monitor and utilize evapotranspiration data, etc. from a single office location. The conservation of water and the reduction of costs will be greatly improved with this new system. Substantial amounts of time (labor), fuel, and water will be saved. In addition, this controller system could also be used in future years to monitor/control lights at these locations, which would decrease the costs for labor, fuel, and electricity as well. Supporting planning document(s): Project Cost: Estimated Project-to-Date ROW/Easements/Land - - Design 10,000 - Construction - Other 100,500 104,611 Total $ 110,500 $ 104,611 Insert a picture of your proposed project here. Click on Insert in the menu bar, then Object… Project Schedule: % Complete Click on the tab Create from File, Design: 100% then click Browse… Implementation: 2013 95% Browse to your picture, then click Insert and Ok. Funding Sources: Amount Type B sales tax $110,500 Operating Budget Impact if Completed: 13/14 14/15 15/16 16/17 17/18 General fund savings for labor, fuel, and water $ (54,000) (56,700) (59,500) (62,200) (64,900) (Funds listed describe cost savings per year) Operating Budget Impact if NOT Completed: 13/14 14/15 15/16 16/17 17/18 Labor, fuel, and water $ - 2,700 5,500 8,200 10,900 Performance Measure: Annual water costs decreased up to 20% at these sites; Labor reduced by 450 man hours; Fuel reduced by 100 gallons for the Irrigation crews. Notes: The cost for purchasing and installing central control systems is $5,000 per irrigation controller site. Parks is requesting 22 sites. As of December 2012, project is 95% complete and should be fully completed March 2013. Present Value of Future Cash Flows Completing Project $(170,086) Not Completing Project $25,324 Location of Project (provide at least one of the following locators for each project location): Address: Street Address City State 1) City wide San Angelo Texas 79
  • 369.
    City of SanAngelo, Texas 2013-2018 Capital Improvement Plan Civic League Park, Additional Improvements (IWLC Basin 4) Responsible Dept: Parks & Recreation Project Manager: Carl White Financial Plan: Prior Budget Projected Years 12/13 13/14 14/15 15/16 16/17 17/18 Future Total $ - - 115,000 - - - - - $ 115,000 Description: This improvement was programmed during the design of the last expansion of the International Waterlily Collection. A shortage of funding however did not permit its implementation. Specifically, this improvement project includes the addition of the fourth raised basin in the northeast quadrant of the collection site (see picture below). Design was completed in 2004, however that design is being modified to be completed at a later date. Supporting planning document(s): Design plans complete from 2004 Project Cost: Estimated Project-to-Date ROW/Easements/Land - - Design - - Construction 100,000 - Other 15,000 - Total $ 115,000 $ - Insert a picture of your proposed project here. Click on Insert in the menu bar, then Object… Project Schedule: % Complete Click on the tab Create from File, Design: 2013 0% then click Browse… Implementation: 2013/2014 0% Browse to your picture, then click Insert and Ok. Funding Sources: Amount Potential Grant Funding $ 100,000 Potential funding from San Angelo Area $ 15,000 Foundation Operating Budget Impact if Completed: 13/14 14/15 15/16 16/17 17/18 Increased use of water, supplies, electricity, and cleaning $ - 2,000 2,050 2,100 2,150 Operations and Maintenance Operating Budget Impact if NOT Completed: 13/14 14/15 15/16 16/17 17/18 N/A $ - - - - - Performance Measures: Increase the number of lilies displayed from 210 to 240 at the collection display Increase the number of visitors from an estimated 12,635 each year to an estimated 14,440 each year Notes: Present Value of Future Cash Flows Completing Project $120,624 Not Completing Project Undetermined Location of Project (provide at least one of the following locators for each project location): Address: Street Address City State 1) 900 W Beauregard and N Park San Angelo Texas 80
  • 370.
    City of SanAngelo, Texas 2013-2018 Capital Improvement Plan Fairmount Cemetery -- Phase I Improvements Responsible Dept: Parks & Recreation Project Manager: Carl White Financial Plan: Prior Budget Projected Years 12/13 13/14 14/15 15/16 16/17 17/18 Future Total $ - - - 600,000 - - - - $ 600,000 Description: Phase I of the Friends of Fairmount Master Plan recommended improvements which includes a new wider and more attractive entrance to Fairmount Cemetery and the first set of 2 columbaria (2 out of 6) on a closed internal road on the south side of the cemetery. The project includes design, construction and some limited landscaping. Supporting planning document(s): Friends of Fairmount Cemetery Master Plan adopted by City Council on July 17, 2012. Project Cost: Estimated Project-to-Date ROW/Easements/Land - - Design 60,000 - Construction 500,000 - Other 40,000 - Total $ 600,000 $ - Insert a picture of your proposed project here. Project Schedule: % Complete Click on Insert in the menu bar, then Picture… Design: 0% then find picture in your files… then double click picture to insert. Implementation: 0% Funding Sources: Amount Friends of Fairmount funding $ 600,000 Undetermined Operating Budget Impact if Completed: 13/14 14/15 15/16 16/17 17/18 Operations and Maintenance $ - - 5,000 5,100 5,200 Operating Budget Impact if NOT Completed: 13/14 14/15 15/16 16/17 17/18 $ - - - - - Performance Measures: allow for new revenue stream with sale of columbaria niches estimated at $25,000/year for over 20 years. increase safety and thus reduce accidents entering and exiting the cemetery. Notes: Present Value of Future Cash Flows Completing Project $592,022 Not Completing Project Undetermined Location of Project (provide at least one of the following locators for each project location): Address: Street Address City State 1) 1120 West Avenue N. San Angelo Texas 81
  • 371.
    City of SanAngelo, Texas 2013-2018 Capital Improvement Plan Hilltop Trail at Lake Nasworthy Responsible Dept: Parks & Recreation Project Manager: Carl White Financial Plan: Prior Budget Projected Years 12/13 13/14 14/15 15/16 16/17 17/18 Future Total $ - - 200,000 - - - - - $ 200,000 Description: This project includes the development of a 1.5 mile trail on the top of the hill at Hillside Drive and Gun Club Road. The proposed trail would be about 14 feet wide and constructed of crushed limestone. Signage would also be included. Supporting planning document(s): Parks, Recreation and Open Space Master Plan adopted by City Council on October 16, 2012. Project Cost: Estimated Project-to-Date ROW/Easements/Land - - Design 15,000 - Construction 180,000 - Other 5,000 - Total $ 200,000 $ - Insert a picture of your proposed project here. Project Schedule: % Complete Click on Insert in the menu bar, then Picture… Design: 0% then find picture in your files… then double click picture to insert. Implementation: 0% Funding Sources: Amount Potential TPWD Trails Grant $ 160,000 Potential Lake Nasworthy Trust Fund Interest $ 40,000 Account Operating Budget Impact if Completed: 13/14 14/15 15/16 16/17 17/18 Ongoing Maintenance $ - 4,000 4,100 4,200 4,300 Operating Budget Impact if NOT Completed: 13/14 14/15 15/16 16/17 17/18 None $ - - - - - Performance Measures: Improve safety by reducing pedestrian traffic off Hillside Drive Notes: Present Value of Future Cash Flows Completing Project $211,807 Not Completing Project Undetermined Location of Project (provide at least one of the following locators for each project location): Address: Street Address City State 1) 2100 Gun Club Rd. San Angelo Texas 82
  • 372.
    City of SanAngelo, Texas 2013-2018 Capital Improvement Plan Middle Concho Park Main Boat Ramp Improvements Responsible Dept: Parks and Recreation Project Manager: Carl White Financial Plan: Prior Budget Projected Years 12/13 13/14 14/15 15/16 16/17 17/18 Future Total $ - - 471,000 - - - - - $ 471,000 Description: Project includes the complete renovation of the main boating ramp at Middle Concho Park at Lake Nasworthy. The ramp would be widened from 2 to 4 lanes, additional parking would be provided, a new restroom facility with showers would be added, lighting improvements made, new signage added and improvements to walkways made and docking made. This project includes design work and permitting costs. Supporting planning document(s): Parks, Recreation and Open Space Master Plan adopted by City Council on October 16, 2012. Project Cost: Estimated Project-to-Date ROW/Easements/Land - - Design 34,000 - Construction 425,000 - Other 12,000 - Total $ 471,000 $ - Insert a picture of your proposed project here. Project Schedule: % Complete Click on Insert in the menu bar, then Picture… Design: 0% then find picture in your files… then double click picture to insert. Implementation: 0% Funding Sources: Amount Potential TPWD State Boating Access Grant $ 353,250 Potential Lake Nasworthy Trust Fund Interest $ 117,750 Account Operating Budget Impact if Completed: 13/14 14/15 15/16 16/17 17/18 Operating and Maintenance $ - 5,000 5,100 5,200 5,300 Operating Budget Impact if NOT Completed: 13/14 14/15 15/16 16/17 17/18 $ - - - - - Performance Measures: increase the Middle Concho Park entrance gate fee revenues by an estimated 15-20 % due to increased usage. double the number of boats that can utilize the ramp at one time from 2 to 4. Notes: Present Value of Future Cash Flows Completing Project $481,500 Not Completing Project Undetermined Location of Project (provide at least one of the following locators for each project location): Address: Street Address City State 1) Middle Concho East & West/Red Bluff Rd. San Angelo Texas 83
  • 373.
    City of SanAngelo, Texas 2013-2018 Capital Improvement Plan Red Arroyo Trail Responsible Dept: Parks & Recreation Project Manager: Clinton Bailey Financial Plan: Prior Budget Projected Years 12/13 13/14 14/15 15/16 16/17 17/18 Future Total $ - 3,200,000 400,000 400,000 - - - $ 4,000,000 Description: The Red Arroyo Trail project has been a dream for many for a long time. The vision for this project is to develop a multiple-use trail system along the Red Arroyo from Sherwood Way in the West to Knickerbocker Road in the East and South from the confluence near College Hills Blvd. to Sunset Drive. This project will provide for an excellent alternative transportation network as well as a fantastic amenity for recreation. Included with this project will be a 3-mile, 10' wide multiple-use trail (for non-motorized travel); three small parking areas; at least three small pocket parks; an 18-hole disc golf course; some landscaping; an off-leash area for dogs; some lighting; signage; drinking fountains; benches; and restroom facilities. As of December 2012, we are about 60% complete with design, which is being performed by City Staff. Supporting planning document(s): Parks, Recreation, and Open Space Master Plan (2001) and Update (2005); San Angelo Bicycle and Pedestrian Plan (2005); MPO Bike and Pedestrian Trail Plan 2006. Project Cost: Estimated Project-to-Date ROW/Easements/Land - - Design 300,000 - Construction 3,665,000 - Other 35,000 - Total $ 4,000,000 $ - Insert a picture of your proposed project here. Click on Insert in the menu bar, then Object… Project Schedule: % Complete Click on the tab Create from File, Design: 2012 60% then click Browse… Implementation: 2014/2015 0% Browse to your picture, then click Insert and Ok. Funding Sources: Amount State Grant $3,200,000 Type B sales tax $325,000 Stormwater funding $325,000 Private fundraising $150,000 Operating Budget Impact if Completed: 13/14 14/15 15/16 16/17 17/18 Based on proposed design and current rates of maintenance $ - - $75,000 $75,500 $76,000 for lighting, landscape services, and general cleaning and Operations and Maintenance Operating Budget Impact if NOT Completed: 13/14 14/15 15/16 16/17 17/18 No impact $ - - - - - Performance Measures: Increase the number of non-motorized vehicle transportation connection by about 3 miles; generate an estimated 43,320 users each year. Notes: $3,200,000 in funding secured from TPWD Grant Present Value of Future Cash Flows Completing Project $4,187,838 Not Completing Project Undetermined Location of Project (provide at least one of the following locators for each project location): Address: Street Address City State 1) varied -- runs from Sherwood Way in the West San Angelo Texas 2) to Knickerbocker in the East to Sunset Drive 3) in the South 84
  • 374.
    City of SanAngelo, Texas 2013-2018 Capital Improvement Plan Rio Vista Neighborhood Park Renovation Responsible Dept: Parks & Recreation Department Project Manager: Carl White Financial Plan: Prior Budget Projected Years 12/13 13/14 14/15 15/16 16/17 17/18 Future Total $ 762,907 50,993 - - - - - - $ 813,900 Description: Renovate the existing neighborhood park with a picnic shelter/pavilion, a playground, walkways, lighting, and landscaping. This project was identified as needed due to several reasons: the playground equipment does not meet current national safety standards and has outlived its reasonable lifespan of up to twenty years; walkways are not fully accessible; picnic shelter/pavilions are recognized as highly needed by both the 2001 and 2005 updated Parks, Recreation, and Open Space Master Plan; the existing irrigation system is in poor condition; park and security lighting needs to be improved; and the aesthetic quality of the park needs to be improved. Rio Vista Park was developed in 1971 and has not been renovated since that time. City to install playgrounds and trails in-house. Supporting planning document(s): 2001 and 2005 updated Parks, Recreation, and Open Space Master Plan Parks Department internal needs assessments Project Cost: Estimated Project-to-Date ROW/Easements/Land - - Design 65,000 65,000 Construction 748,900 697,907 Other - - Total $ 813,900 $ 762,907 Insert a picture of your proposed project here. Click on Insert in the menu bar, then Object… Project Schedule: % Complete Click on the tab Create from File, Design: Spring 2011 100% then click Browse… Implementation: Spring 2012 93% Browse to your picture, Completion: Spring 2013 then click Insert and Ok. Funding Sources: Amount Section 108 Loan & CDBG Funds $ 711,000 4B Half-Cent Sales Tax Funds $ 97,900 Donation from Architect $5,000 Operating Budget Impact if Completed: 13/14 14/15 15/16 16/17 17/18 Operations and Maintenance $ 15,000 15,750 16,500 17,250 18,000 Based on some additional improvements to the park Operating Budget Impact if NOT Completed: 13/14 14/15 15/16 16/17 17/18 No impact $ - - - - - Performance Measures: Increase park visitation from an estimated 7,220 visitors each year to an estimated 12,635 visitors each year Notes: Project is mostly complete. As of December 2012, contractor has reached substantial completion. City to install playgrounds and walking trail. Present Value of Future Cash Flows Completing Project $128,856 Not Completing Project Undetermined Location of Project (provide at least one of the following locators for each project location): Address: Street Address City State 1) Ben Ficklin Rd. and Ave. X San Angelo Texas 85
  • 375.
    City of SanAngelo, Texas 2013-2018 Capital Improvement Plan Rio Concho Community Park & Texas Bank Sports Complex Responsible Dept: Parks & Recreation Project Manager: Carl White Financial Plan: Prior Budget Projected Years 12/13 13/14 14/15 15/16 16/17 17/18 Future Total $ - - - 85,000 - - 565,000 $ 650,000 Description: This project is to add elements to the Rio Concho Community Park & Texas Bank Sports Complex that were originally envisioned such as a pavilion next to the playgrounds and a restroom facility at quad 4. This project also includes a restroom at quad 2 which was not originally envisioned but is now needed based on our experience with rentals, events and tournaments. The pavilion is needed because the park is intended to serve as a community park but currently can't meet that need unless a pavilion is added which would help to better host community events, private events and general park usage. Supporting planning document(s): 2012 Parks, Recreation and Open Space Master Plan. Parks and Recreation internal needs assessment. Project Cost: Estimated Project-to-Date ROW/Easements/Land - - Design 35,000 - Construction 615,000 - Other - - Total $ 650,000 $ - Insert a picture of your proposed project here. Click on Insert in Project Schedule: % Complete the menu bar, then Object… Click on the tab Create from File, Design: 0% then click Browse… Browse to your picture, then click Insert and Ok. Implementation: 2014 0% Funding Sources: Amount Type B sales tax $ 89,500 Undetermined $ 560,500 Operating Budget Impact if Completed: 13/14 14/15 15/16 16/17 17/18 Operations and maintenance. $ - 3,000 3,075 3,150 3,225 Operating Budget Impact if NOT Completed: 13/14 14/15 15/16 16/17 17/18 No impact $ - - - - - Performance Measures: Pavilion: to increase community park attendance from an estimated 5,415 to an anticipated 14,600 visitors each year. Restrooms: to increase the number of tournaments, rentals and special events. Notes: Present Value of Future Cash Flows Completing Project $93,512 Not Completing Project Undetermined Location of Project (provide at least one of the following locators for each project location): Address: Street Address City State 1) 1822 River Dr. San Angelo Texas 86
  • 376.
    City of SanAngelo, Texas 2013-2018 Capital Improvement Plan Santa Rita Neighborhood Park Renovation Responsible Dept: Parks & Recreation Project Manager: Carl White Financial Plan: Prior Budget Projected Years 12/13 13/14 14/15 15/16 16/17 17/18 Future Total $ - - - - - 150,000 - - $ 150,000 Description: Renovate the existing neighborhood park to meet the desires of the neighborhood (Greater Santa Rita Home Owners' Association) and adjacent Santa Rita Elementary School. Improvements could likely include a new irrigation system, walkways, lighting, unique play features, tennis court refurbishment, picnic areas, some landscaping and general park improvements. Supporting planning document(s): 2012 Parks, Recreation and Open Space Master Plan. Parks and Recreation internal needs assessment. Project Cost: Estimated Project-to-Date ROW/Easements/Land - - Design 10,000 - Construction 140,000 - Other - - Total $ 150,000 $ - Insert a picture of your proposed project here. Click on Insert in Project Schedule: % Complete the menu bar, then Object… Click on the tab Create from File, Design: 0% then click Browse… Browse to your picture, then click Insert and Ok. Implementation: 2016/2017 0% Funding Sources: Amount Type B sales tax $ 89,500 Potential Homeowner Association fundraising $ 60,500 Operating Budget Impact if Completed: 13/14 14/15 15/16 16/17 17/18 Operations and Maintenance $ - - - 15,000 15,375 Operating Budget Impact if NOT Completed: 13/14 14/15 15/16 16/17 17/18 No impact $ - - - - - Performance Measures: To create park visitation to an anticipated rate of 10,830 visitors each year. Notes: Present Value of Future Cash Flows Completing Project $167,019 Not Completing Project Undetermined Location of Project (provide at least one of the following locators for each project location): Address: Street Address City State 1) 1111 S. Madison St. San Angelo Texas 87
  • 377.
    City of SanAngelo, Texas 2013-2018 Capital Improvement Plan South Concho Park Main Boat Ramp Improvements Responsible Dept: Parks and Recreation Project Manager: Carl White Financial Plan: Prior Budget Projected Years 12/13 13/14 14/15 15/16 16/17 17/18 Future Total $ - - 438,600 - - - - $ 438,600 Description: Project includes the complete renovation of the main boating ramp at South Concho Park at Lake Nasworthy. The ramp would be widened from 2 to 4 lanes, additional parking would be provided, a new restroom facility with showers would be added, lighting improvements made, new signage added and improvements to walkways made and docking made. This project includes design work and permitting costs. Supporting planning document(s): Parks, Recreation and Open Space Master Plan adopted by City Council on October 16, 2012. Project Cost: Estimated Project-to-Date ROW/Easements/Land - - Design 32,000 - Construction 395,000 - Other 11,600 - Total $ 438,600 $ - Insert a picture of your proposed project here. Project Schedule: % Complete Click on Insert in the menu bar, then Picture… Design: 0% then find picture in your files… then double click picture to insert. Implementation: 0% Funding Sources: Amount Potential TPWD State Boating Access Grant  $          328,950  Potential Lake Nasworthy Trust Fund Interest  $          109,650  Account Operating Budget Impact if Completed: 13/14 14/15 15/16 16/17 17/18 Operating and Maintenance $ - - 8,000 8,150 8,300 Operating Budget Impact if NOT Completed: 13/14 14/15 15/16 16/17 17/18 None $ - - - - - Performance Measures: Double the number of boats that can utilize the ramp at one time from 2 to 4. Notes: Present Value of Future Cash Flows Completing Project $445,070 Not Completing Project Undetermined Location of Project (provide at least one of the following locators for each project location): Address: Street Address City State 1) 850 South Concho Dr. San Angelo Texas 88
  • 378.
    City of SanAngelo, Texas 2013-2018 Capital Improvement Plan Sunken Garden Park and Sculpture Garden Responsible Dept: Parks & Recreation Project Manager: Carl White Financial Plan: Prior Budget Projected Years 12/13 13/14 14/15 15/16 16/17 17/18 Future Total $ - - - - - - 275,000 $0 $ 275,000 Description: Landscape refurbishment of Sunken Garden Park with enhancements to improve access and enjoyment of the new Sculpture Garden. Improvements to include a new irrigation system, new turf in targeted locations, improved accessibility with ramps and stairs, walkways to and around the sculptures and improved lighting. Supporting planning document(s): Project Cost: Estimated Project-to-Date ROW/Easements/Land - - Design 25,000 - Construction 250,000 - Other - - Total $ 275,000 $ - Insert a picture of your proposed project here. Project Schedule: % Complete Click on Insert in the menu bar, then Picture… Design: 2017 0% then find picture in your files… then double click picture to insert. Implementation: 2018 0% Funding Sources: Amount Undetermined $ 275,000 Operating Budget Impact if Completed: 13/14 14/15 15/16 16/17 17/18 None $ - - - - - Operating Budget Impact if NOT Completed: 13/14 14/15 15/16 16/17 17/18 None $ - - - - - Performance Measures: increase visitation to the park and sculpture garden by about 12,000 visitors a year. Notes: Present Value of Future Cash Flows Completing Project $250,288 Not Completing Project Undetermined Location of Project (provide at least one of the following locators for each project location): Address: Street Address City State 1) 704 S. David Street San Angelo Texas 89
  • 379.
    City of SanAngelo, Texas 2013-2018 Capital Improvement Plan Concho River Dredging, Bank Stabilization, & Trails Improvements Responsible Dept: Parks & Recreation Project Manager: Carl White Financial Plan: Prior Budget Projected Years 12/13 13/14 14/15 15/16 16/17 17/18 Future Total $ 6,853,196 8,583,451 - - - - - - $ 15,436,647 Description: Design and construction of the North Concho River Parks and Trail system, located along the course of the North Concho River from Kirby Community Park to Rio Concho Community Park. Design and construction of all physical improvements in the area including trails, lookout points, bank stabilization, lighting, signage and accessibility and connectivity improvements with the following exception. The section of the project from Kirby Park (south side) to 14th Street will only be conceptually designed. Improvements will focus on connectivity and access to the river, provision of desirable destination spaces and maximizing public recreation opportunities and interaction with the river. Project also included substantial dredging of portions of the river, primarily between Houston Harte and 14th Street, under supervision of the UCRA. About 1.5 million cubic feet of silt were removed. Project includes trail section on SAHF property on south side of river from Irving St. upriver to Girl Scout HQs and trail section from Bell St. terminus and across Bell St to the river overlook at the Rio Concho Community Park Supporting planning document(s): 2004 KDC-Turner Study; hydrogeological assessments Project Cost: Estimated Project-to-Date ROW/Easements/Land 1,034,574 1,034,574 Design 1,531,301 1,531,301 Construction 12,482,115 7,318,763 Other 388,657 388,657 Total $ 15,436,647 $ 10,273,295 Project Schedule: % Complete Design: 2006 - 2012 100% Implementation: 2009 - 2013 59% Funding Sources: Amount Type B sales tax $ 12,993,175 Federal, State, and Local Grants $ 1,856,012 storm water improvements funding $ 587,460 Operating Budget Impact if Completed: 13/14 14/15 15/16 16/17 17/18 Operating and Maintenance Costs $ - 100,000 102,000 104,000 106,000 Operating Budget Impact if NOT Completed: 13/14 14/15 15/16 16/17 17/18 No impact $ - - - - Performance Measures: Increase the overall river parks and trail system use from an estimated 200,000 visitors annually to over 250,000 visitors annually Improve the quality of the water in the river in the areas dredged by up to 15% Notes: Dredging is complete and was conducted from about 14th Street downriver to about the point where Sulphur Draw feeds into the river. Bank stabilization and other improvements began October 2011. As of December 2012, the improvement project is at about 60% completion overall, counting contractor's work and in-house work. The project is anticipated to be substantially complete August 2013. Bank stabilization of the section from Sulpher Draw upriver to 1st Street was approved and funed. Present Value of Future Cash Flows Completing Project $8,969,084 Not Completing Project Undetermined Location of Project (provide at least one of the following locators for each project location): Address: Street Address City State 1) O. C. Fisher Reservoir Dam to Bell Street San Angelo Texas 2) impoundment 90
  • 380.
    City of SanAngelo, Texas 2013-2018 Capital Improvement Plan Public Information Equipment Replacement Responsible Dept: Public Information Project Manager: Anthony Wilson Financial Plan: Prior Budget Projected Years 12/13 13/14 14/15 15/16 16/17 17/18 Future Total $ - 17,936 19,874 4,668 5,378 - - - $ 47,856 Description: The Public Information Office lacks adequate backup equipment for when technology inevitably fails. PIO also lacks adequate funding to systematically purchase replacement and/or backup photography, videography and computer equipment, all of which is necessary to disseminate information -- particularly the airing of City Council and board meetings -- to the public. Health Services has applied for a public health emergency preparedness discretionary funds state grant that would fund 90% of the cost of a new server for Channel 17. (The remaining 10% will come from the PIO's operating budget.) That would leave another $29,920 in equipment needs: $19,874 for video equipment in the City Council chambers, $4,668 in videography equipment, and $5,378 in photo equipment. Supporting planning document(s): Project Cost: Estimated Project-to-Date ROW/Easements/Land - - Design - - Construction - - Other 47,856 - Total $ 47,856 $ - Insert a picture of your proposed project here. Project Schedule: % Complete Click on Insert in the menu bar, then Picture… Design: 0% then find picture in your files… then double click picture to insert. Implementation: 0% Funding Sources: Amount Public Health Emergency State Grant $ 16,142 Undetermined $ 31,714 Operating Budget Impact if Completed: 13/14 14/15 15/16 16/17 17/18 Repair costs reduced $ (1,000) (1,000) (1,000) (1,000) (1,000) Operating Budget Impact if NOT Completed: 13/14 14/15 15/16 16/17 17/18 We would face repair costs that could be small. $ 1,000 1,000 1,000 1,000 1,000 Eventually, we would have to replace equipment through the operating budget. Performance Measures: Number of Council and board meetings aired, number of original programs produced, number of photos posted online. Notes: Council chambers equipment: Sony Anycast Station Live Content Producer, $12,999; 4 Robotic Cameras, $3,280; HDD DVD recorder, $3,595. Channel 17 server: $17,936; Videography equipment: Sony HVR-NX5U camera, $3,999; Sony HXR-FMU128 Flash Memory Unit, $669; Photography equipment: Canon EOS 7D SLR Digital Camera Body, $1599; Canon EF-S 17-55mm f/2.8 IS USM Zoom Lens, $1,179; Canon EF70- 200mm f/2.8 IS II USM Telephoto Lens, $2,099; Canon Speedlight 580EX II Flash, $501 Present Value of Future Cash Flows Completing Project $42,291 Not Completing Project $4,727 Location of Project (provide at least one of the following locators for each project location): Address: Street Address City State 1) 500 Rio Concho Drive San Angelo Texas 91
  • 381.
    City of SanAngelo, Texas 2013-2018 Capital Improvement Plan Communications Technology Upgrade Responsible Dept: Public Safety Communications Project Manager: Victor Vasquez Financial Plan: Prior Budget Projected Years 12/13 13/14 14/15 15/16 16/17 17/18 Future Total $ 117,000 120,000 - - - 130,000 150,000 $ 517,000 Description: This hardware update includes the actual computer equipment (servers) that our Intergraph software needs to operate on. This also includes the operating systems and the backup solutions so that records are securely stored. The servers are currently Dell servers, and Dell does not support servers over 4 years old. All information transmitted to Public Safety personnel must be accurate and up-to-date. It is imperative we (Public Safety) stay current on the technology for citizen, firemen and officer safety. Supporting planning document(s): Project Cost: Estimated Project-to-Date ROW/Easements/Land - - Design - - Construction - - Other 517,000 117,000 Total $ 517,000 $ 117,000 Insert a picture of your proposed project here. Click on Insert in the menu bar, then Object… Project Schedule: % Complete Click on the tab Create from File, Phase 1 2008 100% then click Browse… Phase 2 2013 0% Browse to your picture, then click Insert and Ok. Funding Sources: Amount General Fund $ 117,000 Undetermined $ 400,000 Operating Budget Impact if Completed: 13/14 14/15 15/16 16/17 17/18 No significant change in operating costs. $ - Operating Budget Impact if NOT Completed: 13/14 14/15 15/16 16/17 17/18 Increase in repair costs as equipment will be out of $ - 5,000 10,000 15,000 20,000 maintenance Performance Measures: New technology is required to maintain a higher standard of performance and public safety. Communications had a total 209,764 calls in 2011. Without reliable computers the Public Safety Communications would not be able to dispatch services to the Citizens of San Angelo. Notes: Present Value of Future Cash Flows Completing Project $117,763 Not Completing Project $37,875 Location of Project (provide at least one of the following locators for each project location): Address: Street Address City State 1) 323 E. Beauregard San Angelo Texas 92
  • 382.
    City of SanAngelo, Texas 2013-2018 Capital Improvement Plan Mobile Data Terminals Responsible Dept: Fire Project Manager: Brian Dunn Financial Plan: Prior Budget Projected Years 12/13 13/14 14/15 15/16 16/17 17/18 Future Total $ - - 182,600 - - - - - $ 182,600 Description: This is the moblie data terminals for the ambulances and fire trucks. The current version we are using is obsolete and we can't purchase parts when they break. The police department has already switched to the system we are asking for. Supporting planning document(s): Project Cost: Estimated Project-to-Date ROW/Easements/Land - - Design - - Construction 182,600 - Other - - Total $ 182,600 $ - Insert a picture of your proposed project here. Project Schedule: % Complete Click on Insert in the menu bar, then Picture… Design: 0% then find picture in your files… then double click picture to insert. Implementation: 0% Funding Sources: Amount Possibly out of new unattached ambulance $ 182,600 Operating Budget Impact if Completed: 13/14 14/15 15/16 16/17 17/18 We will have to budget about $8500 per year for air card $ 8,500 8,500 8,500 8,500 8,500 costs. costs Operating Budget Impact if NOT Completed: 13/14 14/15 15/16 16/17 17/18 We have to have a system to operate. $ - - - - - Performance Measures: This will positively impact response times Notes: If this isn't updated it will have an impact on response times. 30 MDT'S @ $4,110 = $123,300----- 30 MOUNTS @ $475 = $14,250------- 35 AIRCARDS @ $50 = $1,750--- 6 TABLETS FOR THE AMBULANCES @ $3,800 = $22,800 ---WIRE 4 STATIONS AS HOTSPOTS @ $3,000 = $12,000--- ONE YEAR OF AIRTIME FOR AIRCARDS $8,500 Present Value of Future Cash Flows Completing Project $219,375 Not Completing Project Undetermined Location of Project (provide at least one of the following locators for each project location): Address: Street Address City State 1) City Wide San Angelo Texas 93
  • 383.
    City of SanAngelo, Texas 2013-2018 Capital Improvement Plan Server Upgrades Responsible Dept: Information Technology Project Manager: John Eades Financial Plan: Prior Budget Projected Years 12/13 13/14 14/15 15/16 16/17 17/18 Future Total $ 100,000 25,000 25,000 25,000 25,000 25,000 25,000 - $ 250,000 Description: The IT Department has increased the amount of servers from 35 to 37 and anticipate purchasing another 3 within the next year to replace old servers. Due to the increase in servers, we have also needed to add racks, battery backups (UPS), wire management, and remote console appliances. With the increase of servers, switches, and routers, we are requesting we increase our yearly maintenance to $35,000. In order to stay current with technology and maintain optimal proficiency, our servers/switches/routers/UPS's should be replaced on a 4 to 5 year plan. Rotation upgrades of the Core Servers include: Exchange Email Server, Authentication Servers, Antivirus server, Mail Security, Content Filtering, GIS Servers, AS/400, Risk Server, Intranet Server, Click2Gov Server, Channel 17 Distribution Server, Airport File Server, VoIP phone servers, Storage Backup Units, Infrastructure Switches, Routers, UPS, and Firewall Security. Supporting planning document(s): Project Cost: Estimated Project-to-Date ROW/Easements/Land - - Design - - Construction - - Other 250,000 125,000 Total $ 250,000 $ 125,000 Insert a picture of your proposed project here. Project Schedule: % Complete Click on Insert in the menu bar, then Picture… Design: 0% then find picture in your files… then double click picture to insert. Implementation: On Going 47% Funding Sources: Amount General Fund $ 250,000 Operating Budget Impact if Completed: 13/14 14/15 15/16 16/17 17/18 No impact $ - - - - - Operating Budget Impact if NOT Completed: 13/14 14/15 15/16 16/17 17/18 No impact $ - - - - - Performance Measures: IT work orders completed same day-2451 or 60% Network up time-99.872% AS400 time available 87.45% Notes: IT has been working on server virtualization. This allows us to run more servers on fewer physical servers. We have 3 physical Servers running 11 Virtual Servers. IT is working on Thin Client deployment. Desktop PCs are replaced with a less expensive server clients saving money on PC purchases. As thin client use increases, another server may become necessary, thereby increasing the cost and number of server upgrades. Increase disk storage capacity for the GIS Maps, Y drive, Z drive, and system backups Present Value of Future Cash Flows Completing Project $143,777 Not Completing Project Undetermined Location of Project (provide at least one of the following locators for each project location): Address: Street Address City State 1) 72 W College San Angelo Texas 94
  • 384.
    City of SanAngelo, Texas 2013-2018 Capital Improvement Plan Purchase IBM Power 7 Server Responsible Dept: Information Technology Project Manager: John Eades Financial Plan: Prior Budget Projected Years 12/13 13/14 14/15 15/16 16/17 17/18 Future Total $ - 65,000 - - - - - $ 65,000 Description: Purchase a new IBM Power 7 Server (8202 Model E4C) to replace the IBM iSeries 520 AS400, 8 years old, that is reaching end of life. Future releases of the HTE software will require higher levels of the IBM operating system. The IBM Power 7 Server system will run the entire city's financials, water billing, permits, work orders, inventory, fleet management, and other modules. Supporting planning document(s): No supporting documents at this time. Working with IBM and Sungard to determine correct computer configuration and price. The cost is estimated. Project Cost: Estimated Project-to-Date ROW/Easements/Land - - Design - - Construction - - Other 65,000 - Total $ 65,000 $ - Insert a picture of your proposed project here. Project Schedule: % Complete Click on Insert in the menu bar, then Picture… Design: 0% then find picture in your files… then double click picture to insert. Implementation: 0% Funding Sources: Amount Saving on the three years of software and $ 65,000 hardware maintenance Operating Budget Impact if Completed: 13/14 14/15 15/16 16/17 17/18 $ - - - - - Operating Budget Impact if NOT Completed: 13/14 14/15 15/16 16/17 17/18 City will not be able to update the HTE software at some $ - - - - - unspecifed time in the near future. Working with Sungard to determine that date Performance Measures: Notes: Software Maintenance for the AS400 increased 25%, based on the age of the AS400, to $7,700.00. The City will not be able to update the HTE software at some unspecified time in the near future. Currently working with Sungard to determine that date. This project needs to be funded in advance in order for the maintenance savings to occur. Present Value of Future Cash Flows Completing Project $63,788 Not Completing Project Undetermined Location of Project (provide at least one of the following locators for each project location): Address: Street Address City State 1) 72 W College San Angelo Texas 95
  • 385.
    City of San Angelo 2013‐2018 Capital Improvement Plan Level 3 Future Projects Total Project  Project Type Division Project Title Proposed Funding Costs City Operation Facility Emergency Mgmt Emergency Operations Center (EOC) Generator Replacement General Fund 50,000 City Operation Facility Fire Fire Administration  Offices Remodel General Fund 600,000 Community Facility Civic Events Coliseum Acoustical Banners HOT,SASSRA 150,000 Community Facility Civic Events Coliseum Ice Plant HOT,Hockey Team 75,000 Community Facility Civic Events Bill Aylor Sr. Memorial River Stage Improvements HOT,CVB Contrib,Gen Fund 1,000,000 Community Facility Civic Events Coliseum Entryway Improvements HOT,SASSRA 100,000 Community Facility Civic Events Convention Center Exhibit Hall 1/2c Sales Tax 10,000,000 Community Facility Civic Events Convention Center Walkway HOT/1/2c sales tax/Hotel  100,000 Community Facility Civic Events Coliseum Sound System Amplifiers HOT/410/SASSRA Contribution 50,000 Community Facility Fire Prevention Fire Safety City Other‐Donations,Grants,Contrib 970,000 Community Facility Municipal Court Municipal Court Addition General Fund 182,400 Community Facility Operations Combined Maintenance Facility General Fund ‐ CO 750,000 Community Facility Parks Parking for Senior Centers General Fund 275,000 Community Park Parks Belaire Neighborhood Park General Fund 550,000 Community Park Parks Blackshear Neighborhood Park General Fund 350,000 Community Park Parks Bluffs Neighborhood Park General Fund 550,000 Community Park Parks College Hills East Neighborhood Park General Fund 300,000 Community Park Parks Exall Addition Pocket Park General Fund 99,000 Community Park Parks Kirby Community Park, Additional Improvements General Fund 600,000 Community Park Parks Northern Lakeview Neighborhood Park General Fund 450,000 Community Park Parks Paseo Irrigation General Fund 60,000 Community Park Parks Restroom Facilities, Neighborhood Parks General Fund 450,000 Community Park Parks Rio Concho Trail Extension to GFAB Housing General Fund 1,250,000 Community Park Parks South Concho Neighborhood Park Renovation 1/2¢ Sales Tax 325,000 Community Park Parks Southland East Neighborhood Park General Fund 660,000 Community Park Parks Lake Nasworthy Park Improvements Grants/Lake fund 5,000,000 Community Park Parks South Concho Park Trail General Fund/Grants 199,500 Infrastructure ‐ Stormwater Stormwater Remediation of Drainage Issue:  24th St. at Blum St. General Fund 3,749,220 Infrastructure ‐ Stormwater Stormwater Remediation of Drainage Issue:  30th Street at Day Elementary General Fund 345,600 Infrastructure ‐ Stormwater Stormwater Remediation of Drainage Issue:  Beauregard Ave. – Campus to North Concho General Fund 2,986,335 Infrastructure ‐ Stormwater Stormwater Remediation of Drainage Issue:  Bell Street at Koberlin St. General Fund 2,818,530 Infrastructure ‐ Stormwater Stormwater Remediation of Drainage Issue:  Bradford St. at 24th St. General Fund 688,095 Infrastructure ‐ Stormwater Stormwater Remediation of Drainage Issue:  Coke St. at East Angelo Draw General Fund 2,039,310 Infrastructure ‐ Stormwater Stormwater Remediation of Drainage Issue:  College Hills at North Fork of Red Arroyo General Fund 4,782,105 Infrastructure ‐ Stormwater Stormwater Remediation of Drainage Issue:  College Hills Blvd. at the South Fork of the  General Fund 4,706,910 Infrastructure ‐ Stormwater Stormwater Remediation of Drainage Issue:  Glenwood Dr. – Harrison to Greenwood General Fund 1,009,530 Infrastructure ‐ Stormwater Stormwater Remediation of Drainage Issue:  Glenwood Dr. @ Howard General Fund 1,055,295 Infrastructure ‐ Stormwater Stormwater Remediation of Drainage Issue:  Goodfellow Draw at Evelyn Ave. General Fund 1,317,600 Infrastructure ‐ Stormwater Stormwater Remediation of Drainage Issue:  Howard St. at Brentwood Park General Fund 59,130 Infrastructure ‐ Stormwater Stormwater Remediation of Drainage Issue:  Howard Street from North to Webster General Fund 397,305 Infrastructure ‐ Stormwater Stormwater Remediation of Drainage Issue:  Lester Ln. at Tres Rios Dr. General Fund 140,535 Infrastructure ‐ Stormwater Stormwater Remediation of Drainage Issue:  Lindenwood Dr. at Vista Del Arroyo General Fund 746,955 Infrastructure ‐ Stormwater Stormwater Remediation of Drainage Issue:  Loop 306 Access Road at Eckerd’s General Fund 2,279,340 Infrastructure ‐ Stormwater Stormwater Remediation of Drainage Issue:  Madison St – Avenue J to Algerita General Fund 232,065 Infrastructure ‐ Stormwater Stormwater Remediation of Drainage Issue:  Monroe St. at Sulfur Draw Park General Fund 615,870 Infrastructure ‐ Stormwater Stormwater Remediation of Drainage Issue:  Pecan St at 3rd St. General Fund 970,785 Infrastructure ‐ Stormwater Stormwater Remediation of Drainage Issue:  Preusser St – Lowrie to Schroeder General Fund 785,700 Infrastructure ‐ Stormwater Stormwater Remediation of Drainage Issue:  Regent Blvd. at Gordon Blvd. General Fund 2,879,145 Infrastructure ‐ Stormwater Stormwater Remediation of Drainage Issue:  Southwest Blvd. at the South Fork of the  General Fund 4,790,880 Infrastructure ‐ Stormwater Stormwater Remediation of Drainage Issue:  Sul Ross St. at Sunset Dr. General Fund 1,662,390 Infrastructure ‐ Stormwater Stormwater Remediation of Drainage Issue:  Taylor St, at Conchita St. General Fund 3,356,370 Infrastructure ‐ Stormwater Stormwater Remediation of Drainage Issue: 400 Block of E. 14th St General Fund 8,000,000 Infrastructure ‐ Streets Traffic Operations Portable Traffic Signal General Fund 100,000 Infrastructure ‐ Streets Engineering Reconstruction of  Edmund Blvd. from Van Buren to Howard St. General Fund 858,200 Infrastructure ‐ Streets Engineering Reconstruction of  Jefferson St. from Junius St. to Houston Harte General Fund 3,433,117 Infrastructure ‐ Streets Engineering Reconstruction of 19th St. from Concho River to Lillie St. General Fund 2,045,350 Infrastructure ‐ Streets Engineering Reconstruction of 28th St. from 29th St. to Armstrong St. General Fund 822,017 Infrastructure ‐ Streets Engineering Reconstruction of 37th St. from Bell St. to Pruitt Dr. General Fund 455,983 Infrastructure ‐ Streets Engineering Reconstruction of 41st St. from Coliseum Dr. to Bowie St. General Fund 2,483,017 Infrastructure ‐ Streets Engineering Reconstruction of 42nd St. from Coliseum Dr. to Armstrong St. General Fund 4,656,133 Infrastructure ‐ Streets Engineering Reconstruction of Austin St. from Knickerbocker Rd. to Ave. N General Fund 1,577,800 Infrastructure ‐ Streets Engineering Reconstruction of Avenue N from Bryant Blvd to Saint Marys General Fund 9,056,017 Infrastructure ‐ Streets Engineering Reconstruction of Baze St. from Houston Harte to Culwell St. General Fund 307,683 Infrastructure ‐ Streets Engineering Reconstruction of Beauregard Ave. from Taylor St. to Sherwood Way General Fund 942,875 Infrastructure ‐ Streets Engineering Reconstruction of Bell St. from Railroad Tracks North to 37th St. General Fund 2,910,850 Infrastructure ‐ Streets Engineering Reconstruction of Ben Ficklin Rd. from Becker Ln. to Country Club Rd. General Fund 1,889,250 96
  • 386.
    City of San Angelo 2013‐2018 Capital Improvement Plan Level 3 Future Projects Total Project  Project Type Division Project Title Proposed Funding Costs Infrastructure ‐ Streets Engineering Reconstruction of Ben Ficklin Rd. from Bryant Blvd. to Bryant Blvd. General Fund 1,130,533 Infrastructure ‐ Streets Engineering Reconstruction of Bowie St. from 24th St. to 47th St. General Fund 4,950,233 Infrastructure ‐ Streets Engineering Reconstruction of College Hills Blvd from Beauregard Ave to Sunset Blvd General Fund 11,740,467 Infrastructure ‐ Streets Engineering Reconstruction of College Hills Blvd. from Loop 306 to Valley View General Fund 4,754,583 Infrastructure ‐ Streets Engineering Reconstruction of Cox Ln. from Sunset Blvd. to East Cox Ln. General Fund 854,183 Infrastructure ‐ Streets Engineering Reconstruction of Culwell St. from Poe St. to Buchanan St. General Fund 1,835,900 Infrastructure ‐ Streets Engineering Reconstruction of East 14th St. from Chadbourne St. to Poe St. General Fund 5,021,417 Infrastructure ‐ Streets Engineering Reconstruction of East 19th St. from Bryat Blvd. to Lille St. General Fund 1,514,883 Infrastructure ‐ Streets Engineering Reconstruction of East 25th St. from Main St. to Poe St. General Fund 1,049,783 Infrastructure ‐ Streets Engineering Reconstruction of Edmund Blvd. from Concho River to Bryant Blvd. General Fund 6,958,083 Infrastructure ‐ Streets Engineering Reconstruction of Executive Dr. from Sunset Dr. to Knickerbocker Rd. General Fund 1,153,950 Infrastructure ‐ Streets Engineering Reconstruction of Foster Rd. from Currier Ln. to Jackson St. General Fund 2,292,550 Infrastructure ‐ Streets Engineering Reconstruction of Harris Ave. from Main St. to Bell St. General Fund 2,547,283 Infrastructure ‐ Streets Engineering Reconstruction of Highland Ave. from Bryant Blvd. to Hill St. General Fund 665,467 Infrastructure ‐ Streets Engineering Reconstruction of Howard St. from Pecos to Houston Harte Fwy. General Fund 876,000 Infrastructure ‐ Streets Engineering Reconstruction of Hughes St. from Buchanan St. to Bell St. General Fund 1,583,483 Infrastructure ‐ Streets Engineering Reconstruction of Huntington Ave. from Millbrook Dr. to Sunset Dr. General Fund 1,149,583 Infrastructure ‐ Streets Engineering Reconstruction of Irving St. from Concho River to Washington St. General Fund 1,734,733 Infrastructure ‐ Streets Engineering Reconstruction of Jackson St. from Avenue N to Knickerbocker Rd. General Fund 4,353,733 Infrastructure ‐ Streets Engineering Reconstruction of Marx St. from 29th St. to 24th St. General Fund 1,437,750 Infrastructure ‐ Streets Engineering Reconstruction of Mercedes St. from City Limit Line to Glenna Dr. General Fund 2,279,467 Infrastructure ‐ Streets Engineering Reconstruction of Middle Concho Dr. from Red Bluff Ln. to the West General Fund 1,845,400 Infrastructure ‐ Streets Engineering Reconstruction of Oakes St. from Harris Ave.to 14th St. General Fund 806,767 Infrastructure ‐ Streets Engineering Reconstruction of Old Ballinger Hwy from North Bell St. to Pruitt Dr. General Fund 2,838,050 Infrastructure ‐ Streets Engineering Reconstruction of Pecan St. from 7th St. to 14th St. General Fund 944,450 Infrastructure ‐ Streets Engineering Reconstruction of Pecos St. from Concho River to Howard St. General Fund 3,003,117 Infrastructure ‐ Streets Engineering Reconstruction of Red Bluff Rd. from Knickerbocker Rd. to Middle Concho  General Fund 4,955,000 Infrastructure ‐ Streets Engineering Reconstruction of Rio Concho Dr. from Magdalene St. to Roosevelt St. General Fund 2,329,550 Infrastructure ‐ Streets Engineering Reconstruction of Riverside Golf Club Rd. from 29th St. to Bryant Blvd. General Fund 1,103,150 Infrastructure ‐ Streets Engineering Reconstruction of Smith Blvd. from Pulliam St. to Houston Harte General Fund 1,748,900 Infrastructure ‐ Streets Engineering Reconstruction of South Concho Dr. from Sierra Vista to Knickerbocker Rd. General Fund 4,847,017 Infrastructure ‐ Streets Engineering Reconstruction of Southland Blvd. from Knickerbocker Rd. to Blue Ridge Tr. General Fund 1,478,983 Infrastructure ‐ Streets Engineering Reconstruction of Sunset Dr. from Knickerbocker Rd. south to railroad tracks General Fund 1,163,650 Infrastructure ‐ Streets Engineering Reconstruction of Taylor St. from Beauregard Ave. to Live Oak St. General Fund 791,650 Infrastructure ‐ Streets Engineering Reconstruction of Blumentritt Rd. from FM 1223 General Fund 240,000 Infrastructure ‐ Streets Engineering Rio Concho Drive Widening & Beautification General Fund 500,000 Infrastructure ‐ Streets Engineering Traffic Calming Proposal #1 Grant‐Fed Stimulus Funding 1,315,527 Infrastructure ‐ Streets Engineering Traffic Calming Proposal #2 General Fund 350,000 Infrastructure ‐ Streets Engineering Traffic Calming Proposal #3 General Fund 400,000 Infrastructure ‐ Streets Engineering Traffic Calming Proposal #4 General Fund 350,000 Infrastructure ‐ Streets Operations Spring Creek Park Road Improvements Other‐Nasworthy Trust Fund 215,000 Infrastructure ‐ Streets Operations Backup Power Supply for Signalized Intersections General Fund 531,000 Infrastructure ‐ Streets Traffic Operations Video Detection General Fund 557,000 Infrastructure ‐ Streets Traffic Operations School Zone Flashers General Fund 285,000 Infrastructure ‐ Streets Traffic Operations Signal Cabinets General Fund 78,000 Infrastructure ‐ Water Fort Concho Fort Concho Drainage Correction General Fund 225,000 Infrastructure ‐ Water Water Utilities Hickory Water Supply Development Phase II Water Fund,1/2¢ Sales Tax 25,400,000 Infrastructure ‐ Water Water Utilities Hickory Water Supply Development Phase III Water Fund,1/2¢ Sales Tax 14,300,000 Pedestrian Engineering Pedestrian Facilities Other‐TIRZ,1/2¢ Sales Tax 2,500,000 Pedestrian Operations Countdown Pedestrian Signal Indications General Fund 30,000 2013‐2018 Capital Improvement Plan Level 3 Future Projects Total 244,115,469 97
  • 387.
    A RESOLUTION OFTHE CITY OF SAN ANGELO ADOPTING THE 2013-2018 CAPITAL PROGRAM WHEREAS, the City Charter for the City of San Angelo, Texas, provides that the City Manager shall prepare and submit to the City Council a multi-year capital program before the final date for submission of the budget; and, WHEREAS, on February 21, 2013 the City Manager presented a 2013-2018 capital program, which revises and extends the 2012-2017 capital program adopted by the City Council on April 17, 2012; and, WHEREAS, the contents of the 2013-2018 capital program comply with the requirements Section 59A of the City Charter for the City of San Angelo; WHEREAS, pursuant to Section 59A of the City Charter for the City of San Angelo, the City Council by resolution shall adopt the capital program with or without amendment after public hearing and on or before adoption of the annual budget. WHEREAS, as of this date, the 2013 – 2014 annual budget has not yet been adopted; WHEREAS, in accordance with Section 59A of the City Charter for the City of San Angelo, after compliance with all publication and notice requirements, a public hearing for City Council to consider adoption of the proposed 2013-2018 capital program was held on March 19, 2013. NOW THEREFORE BE IT RESOLVED BY THE CITY COUNCIL OF THE CITY OF SAN ANGELO, TEXAS THAT: SECTION 1 The facts and matters set forth in the preamble of this Ordinance are bound to be true and correct. SECTION 2 It is hereby officially found and determined that the meeting at which this resolution was passed and adopted was open to the public as required and that public notice of the time, place, and purpose of said meeting was given as required by the Open Meetings Act, Chapter 551 of the Texas Local Government Code. SECTION 3 The 2013-2018 capital program is hereby adopted by majority vote of the City Council without amendment, subject to deletion, modification or suspension during the course of the fiscal year based on events, changes in technology or other circumstances which justify such action.
  • 388.
    PASSED and APPROVEDTHIS DAY OF , 2013. CITY OF SAN ANGELO, TEXAS ATTEST: Alvin W. New, Mayor Alicia Ramirez, City Clerk APPROVED AS TO CONTENT APPROVED AS TO FORM Daniel Valenzuela, City Manager Lysia H. Bowling, City Attorney
  • 389.
  • 390.
    2013-2018 CIP Calendar 11/20/2012 Discuss CIP with City Council 12/10/2012 Budget Division sent out CIP forms and instructions to divisions 12/20/2012 Projects submitted by divisions 1/31/2013 Committee reviewed draft CIP 2/7-12/2013 Public meetings 2/19/2013 Discuss CIP with City Council 2/26/2013 City Council Strategic Planning Meeting 3/5/2013 Discuss CIP with City Council 3/19/2013 Adoption of the CIP
  • 391.
    2013-2018 Capital ImprovementPlan At the strategic planning session, we defined capital improvement projects with this approach: • Level 1 – Infrastructure Priority • Level 2 – Other projects within 5 years • Level 3 – Other projects outside 5 years
  • 392.
    2013-2018 Capital ImprovementPlan # of Projects Amount of Project ($) Level 1 – 33 $402,808,769 Infrastructure Level 2 – 48 84,679,315 All Others Level 3 – 116 244,115,469 Outside 5 years Total 197 $731,603,553
  • 393.
    2013-2018 CIP Calendar 11/20/2012 Discuss CIP with City Council 12/10/2012 Budget Division sent out CIP forms and instructions to divisions 12/20/2012 Projects submitted by divisions 1/31/2013 Committee reviewed draft CIP 2/7-12/2013 Public meetings 2/19/2013 Discuss CIP with City Council 2/26/2013 City Council Strategic Planning Meeting 3/5/2013 Discuss CIP with City Council 3/19/2013 Adoption of the CIP
  • 394.
    City of SanAngelo Engineering Services Memo Date: March 6, 2013 To: Mayor and Councilmembers From: Clinton Bailey, City Engineer Subject: Agenda Item for March 19, 2013 Council Meeting Contact: Clinton Bailey, Development Services, 657-4203 Caption: Discussion of prohibiting commercial vehicles from using certain streets and parking in certain areas within the San Angelo city limits and any action in connection thereto Summary: The City of San Angelo Code of Ordinances contains articles which enable the City to prohibit commercial vehicles from using certain streets and from parking in certain areas within the San Angelo city limits. From observation, it appears that the increase in commercial vehicle traffic within the City is primarily due to the following: 1. Construction equipment and construction materials delivery vehicles (dump trucks, tractor trailers, concrete trucks etc.) associated with the recent and significant increase commercial and residential land development; and, 2. Commercial property servicing businesses whose primary function is the delivery of materials and equipment to offsite locations using tractor trailers and other large commercial vehicles. History: This item was requested by Councilman Dwain Morrison. Financial Impact: n/a Related Vision Item Neighborhood Vision and Transportation Vision (if applicable): Other Information/ There are four sections in San Angelo's Code of Ordinances which address the Recommendation: usage and access of and by commercial vehicles. These are summarized below and excerpts provided as attachments. Article 10.100 of the City's Code of Ordinances defines commercial vehicles, as well as laying out the requirements for where commercial vehicles may and may not be used. Section 10.107(g)(3) lists street segments along which, when signs are erected giving notice, commercial vehicles cannot be operated except to deliver or pick up merchandise. 10.107(g)(4) requires these vehicles to immediately exit the street once they have picked up or delivered as intended. Article 10.1200 of the City's Code of Ordinances addresses routes which are required as the sole routes for the transportation of hazardous materials. It also defines hazardous materials, and provides exceptions - such as repair, retail
  • 395.
    delivery, and transfer.Lastly, it addresses the parking or storing of vehicles containing hazardous materials, signage, and responsibilities of the drivers operating such vehicles. Article 10.1000 of the City's Code of Ordinances prohibits the parking of commercial vehicles on a street or lot in a residential district, or on a street bordering a residential district. It then lists exceptions in Section 10.1005, under which such parking may occur temporarily or when meeting setbacks and located on private property. Lastly, Section 412 of the Zoning Ordinance addresses commercial vehicle peripherally, only by limiting the number of delivery and pickup of materials by commercial vehicles to home occupations. Staff recommends that the City Council provide Staff with specific direction regarding any desired or proposed modifications to existing City ordinances related to this issue. Attachments: Excerpts from City of San Angelo Code of Ordinances Presentation: Clinton Bailey, City Engineer Publication: n/a Reviewed by AJ Fawver, Interim Director of Development Services (03/07/13) Director: Approved by Legal: n/a
  • 396.
    ARTICLE 10.100 TRAFFICREGULATIONS GENERALLY Sec. 10.107 Miscellaneous Driving Rules (g) Commercial Vehicle Prohibited from Using Certain Streets: (1) A commercial vehicle for the purpose of this article is defined as every vehicle designed, maintained, or used primarily for the transportation of property and whose gross weight exceeds three and one-half (3-1/2) tons. This article never shall be construed to include vehicles commonly known as pickup trucks. (2) This section shall not apply to persons operating police, fire, emergency, maintenance, or other similar vehicles at the direction of the city, County of Tom Green or State of Texas. (3) When signs are erected giving notice thereof, no person shall operate a commercial vehicle, except as provided under the following paragraph, on any of the following streets or parts of streets. (A) Texas Avenue between Foster Street and Bryant Boulevard. (B) Avenue X between Foster Street and Bryant Boulevard. (C) Avenue Y between Foster Street and Bryant Boulevard. (D) Avenue Z between Foster Street and Bryant Boulevard. (E) San Jacinto between Foster Street and Bryant Boulevard. (F) Iris between Christoval Road and Ft. McKavitt Road. (G) River Oakes between Christoval Road and Ft. McKavitt Road. (H) Penrose between Christoval Road and Ft. McKavitt Road. (I) Windham between Christoval Road and Ft. McKavitt Road. (J) Greer Street between Fort McKavitt Road and Christoval Road. (K) Churchill Boulevard between Margie Street and Christoval Road. (L) Meadow Drive between Mimosa Drive and FM 2105. (M) On 30th Street between the east gate to the Hirschfeld Steel facilities and Irving Street.
  • 397.
    (N) Field Street between Junius Street and Howard Street. (O) 48th Street between Lake Drive and Chadbourne Street. (P) Murphy Street between LaCruz Street and Currier Street. (Q) Amistad Road beginning at Robin Hood Trail and extending one thousand and four hundred seventy feet (1,470') north. (R) Avenue K between the east entrance to the Water Department Plant and South Concho Park Drive. (S) Marie Street between Beacon Street and LaFollette Street. (T) On Beacon Street between a point two hundred fifty-five feet (255') east of Bell Street and Marie Street. (U) Spaulding Street between Baze Street and Bell Street. (V) Koberlin Street between Main Street and Bell Street. (W) Preusser Street between Main Street and Bell Street. (X) Harris Avenue between Main Street and Bell Street. (Y) Dellwood Drive between Christoval Road and Edgewood Drive. (Z) Edgewood Drive between South Chadbourne (F. M. 1223) and Dellwood Drive. (AA) Avenue Q between Bryant Boulevard and Chadbourne Street. (BB) Currier Street, between Texas Avenue and Avenue V. (CC) Avenue H between Hill Street and Irving Street. (DD) Avenue I between Hill Street and Irving Street. (EE) Avenue J between Hill Street and Irving Street. (FF) Avenue K between Hill Street and Irving Street. (GG) Fort McKavitt Road between Paint Rock Road and River Oakes Street. (HH) Hobbs Street between Christoval Road and Lipan Drive.
  • 398.
    (II) Logan Streetbetween Christoval Road and Sellers Drive. (JJ) Sellers Street between Paint Rock Road and Logan Street. (KK) Cox Lane between Ben Ficklin Road and Foster Road. (LL) Avenue G between Irving and Hill Streets. (MM) Pecos Street between the northern section of David Street and Howard Street. (NN) Old Christoval Road from Paint Rock Road to Chadbourne Street. (4) Commercial vehicles may be operated on the above-named streets and parts of streets only for the purpose of delivering or picking up materials or merchandise and then only by entering such street at the intersection nearest the destination of the vehicle and proceeding thereon no farther than the nearest intersection thereafter. ARTICLE 10.1200 ROUTES FOR VEHICLES TRANSPORTING HAZARDOUS MATERIALS Sec. 10.1201 Vehicle Routes (a) No person shall operate or permit the driving or operation of any truck or transporting vehicle under their control carrying hazardous material over any street, alley, or other public way within the corporate limits of the city, except upon the following portions of the following streets, which are hereby designated as "truck routes." (1) US Highway 67: from the west San Angelo city limits to Loop 306 (2) Loop 306: from US Highway 67 to US Highway 87 (3) US Highway 87: from Loop 306 south to the San Angelo city limits (b) Such designated truck routes are shown on the map on file in the city clerk's office, marked Exhibit "A" and which is made a part hereof for all legal purposes as is set out in full herein, showing in heavy continuous lines the route or routes over which such transport vehicles may be driven or operated while within the corporate limits of the city. Said map is to be executed and attested by the mayor and city clerk and remain in the office of the city clerk as the official Truck Route Map for the city. An exact duplicate of said official Truck Route Map shall be prepared and kept in the office of the Assistant city manager and also signed by the mayor and attested to by the city clerk under date of this section as an exact duplicate original of the map maintained on file in the office of the city clerk.
  • 399.
    (c) This articleshall apply to every motor vehicle used for transporting hazardous materials. This article shall not apply to emergency vehicles or trucks in the service or maintenance departments of the city. (d) Trucks or transporting vehicles carrying hazardous materials restricted to the streets designated as "truck routes" herein, may depart from such routes where it is necessary to load or unload merchandise at locations situated off of designated routes; provided, however, such vehicles shall follow the most direct truck route to the point nearest their ultimate destination and provided further that such vehicles shall not leave designated truck routes until they have reached a turning off point that can be described as the shortest distance practical to the ultimate destination of the vehicle which is consistent with a reasonable operation of the vehicle; provided, further, said vehicles may depart from the designated truck routes for the purpose of traveling to and from a duly designated truck terminal, provided that such vehicle proceeds by the most direct route that is practicable. (1959 Code of Ordinances, Sec. 10-21-1) Sec. 10.1202 Definitions (a) Hazardous Material. Materials which can cause death or disabling injury on brief exposure, highly flammable or volatile liquids, gasses or solids, detonable materials, or highly self reactive materials, including, but not limited to: (1) Explosives and explosively unstable materials. (2) High level or moderately radioactive materials. (3) Highly flammable gasses and materials which give off extremely flammable vapors, and other flammable liquids and solids. (4) All compressed gasses, whether or not flammable or combustible. (5) Gasoline and other liquid fuels. (6) Extremely toxic materials which are so poisonous that no bodily exposure should occur, such as parathion and hydrogen cyanide, as well as highly toxic materials which are likely to cause some injury or illness but not death from a moderate exposure. (7) Materials which are extremely corrosive to living tissue, such as bromine, which can injure almost instantaneously, or hydrofluoric acid which can strike through the skin to the tissues beneath and cause deep, slow-healing burns. Also included are materials that could cause severe eye injury, or destruction of tissue, particularly the eyes, if not removed from the body in a very short time.
  • 400.
    (b) Transporting Vehicles. As the term is used in the article shall mean all vehicles and appurtenances thereto used for the transportation of hazardous materials in commercial quantities, except that those vehicles which are equipped for the use of liquefied petroleum gas as a fuel system for the vehicle itself shall not be subject to the provisions of this article insofar as liquefied petroleum gas is carried on such vehicle for fuel for such vehicle. (c) Designated Truck Terminal. An area for trans-shipment of merchandise and service and maintenance of trucks. (d) Commercial Quantity. Any quantity of material transported by a vehicle not intended for the vehicle's consumption and/or such quantity is intended for resale or is being transported for hire. (1959 Code of Ordinances, Sec. 10-21-2) Sec. 10.1203 Miscellaneous Provisions (a) Any retail delivery of hazardous materials to local bulk facilities or users of such products located off the designated routes as shown on the map located at the end of this section will be permitted and authorized provided that the transporting vehicle uses the designated routes to the point nearest the location of such using customer and the transporting vehicle shall be driven from the specified route along the most practical and direct route to the location of the customer and the return of such transporting vehicle shall be along the most direct and practical route back to the designated routes as established in this article. (b) No transporting vehicle containing hazardous materials shall be parked or stored on the streets, alleys, public thoroughfares, or at any other point within the corporate limits of the city except upon premises owned or leased by the owner of such transporting vehicle and approved as a permanent commercial material location as provided by the Fire Prevention Code of the city; provided, however, that such vehicle may be parked at the point where the commodity is to be delivered and such delivery shall be made without delay. In no event shall such transporting vehicle be parked for the purpose of unloading or delivery of the hazardous materials for a longer period of time than one hour, unless the express permission of the chief of the Fire Department is first obtained. (c) No hazardous materials shall be transferred from one transporting vehicle to another transporting vehicle on any street, alley, public thoroughfare, or at any other point in the city other than on the premises on which permanent storage facilities are located; except, that in case of any emergency, such transfer may be made under the supervision of the chief of the Fire Department. (d) Any such vehicles may be driven off the designated routes to a public garage or repair shop when reasonably necessary for the maintenance and repair of such vehicle;
  • 401.
    provided, however, thatthis provision shall never be construed as authorizing the repair of vehicles in areas otherwise prohibited by the provisions of this code, or by state law. (e) Any person operating any of the aforesaid vehicles upon any street or roadway which is not designated a truck route as provided for hereinabove shall have in his possession for the inspection of police officer his log book or evidence of his destination and point of origin to justify the presence of said vehicle on a street or roadway other than a designated truck route. (f) The City of San Angelo will request and the Highway Department District Engineer shall erect appropriate signs and markings advising operators of the above named vehicles of the truck routes established herein. Whenever any street or roadway designated as a truck route is under repair or otherwise temporarily out of use, the city manager and Highway Department District Engineer shall be authorized to designate alternate truck routes. (1959 Code of Ordinances, Sec. 10-21-3)
  • 403.
    ARTICLE 10.1000 PARKINGRESTRICTED IN RESIDENTIAL DISTRICTS* Sec. 10.1001 Definitions Commercial Vehicle. Every vehicle, including motor vehicles and trailers, designed, maintained or used primarily for the nonrecreational transportation of property and/or people and the gross weight. of which exceeds three and one-half (3-1/2) tons. This definition shall never be construed to include motor vehicles commonly known as "pickup trucks". Trailer. Every vehicle, designed or used to carry its load wholly on its own structure and for being drawn by a motor vehicle. Semi-Trailer. Every vehicle designed for carrying persons or property and for being drawn by a motor vehicle and so constructed that some or part of its weight or load rests upon or is carried by another vehicle. Pole Trailer. Every vehicle, not a trailer or semi-trailer (as defined above) designed to be drawn by another vehicle and attached to the towing vehicle by means of a reach or pole, or by being boomed or otherwise secured to the towing vehicle and ordinarily used for transporting long or irregularly shaped loads such as poles, pipe or structural members capable generally of sustaining themselves as beams between the supporting connections. Truck Tractor. Every motor vehicle designed and used primarily for drawing other vehicles and not so constructed as to carry a load other than part of the weight of the vehicle and load so drawn. Residential District. (1) Any lot or tract of land zoned to permit or actually used for residential purposes; (2) Any area within the city zoned for use as or actually used for residential purposes. Recreational Vehicle. Every motor vehicle, trailer or semi-trailer primarily designed and used as a temporary living quarters for recreational, camping or travel use; including motor homes, truck camper, travel trailer and camping trailer. (1959 Code of Ordinances, Sec. 10-19-1) Sec. 10.1002 Parking Prohibited It shall be unlawful for any person to park a commercial vehicle, trailer, semi-trailer, pole trailer, truck tractor or recreational vehicle on a street or lot in a residential district or on a street bordering a residential district. (1959 Code of Ordinances, Sec. 10-19-2)
  • 404.
    Sec. 10.1003 Penalty Any person violating the provisions of this article shall be guilty of a misdemeanor and upon conviction thereof shall he fined in accordance with the general penalty provision found in Section 1.106 of this code. (1959 Code of Ordinances, Sec. 10-19-3) Sec. 10.1004 Presumption The presence of any of the vehicles aforementioned in a prohibited area shall be prima facie evidence that such vehicle is illegally parked and that same is illegally parked by the owner of such vehicle or with the permission and consent of such owner. (1959 Code of Ordinances, Sec. 10-19-4) Sec. 10.1005 Exceptions The prohibitions of this article shall not apply to: (1) Trucks and trailers designed and used for transporting furniture and household goods while in the process of loading or unloading said items; (2) Other trailers or commercial vehicles while in the process of loading or unloading; (3) Mobile homes (as defined elsewhere within this code) provided that their right to occupy the location appears affirmatively from other statutes or ordinances; (4) Trailers and semi-trailers used for recreational or home owner utility purposes and recreational vehicles (units hereinbelow) parked as follows: (A) Inside parking, or (B) Outside parking in a side yard not adjacent to and parallel to a street so long as the unit is set back from the property line at least five feet (5'), or (C) Outside parking in the rear yard so long as the unit meets the setback requirements of an accessory building, as established elsewhere within this code, or (1959 Code of Ordinances, Sec. 10-19-5) (D) Outside parking in the front yard or a side yard adjacent to and parallel to a street so long as:
  • 405.
    (i) Space isnot available or there is no reasonable access to either the side yard not adjacent to and parallel to a street or rear yard; a corner lot is always deemed to have reasonable access to the rear yard; (ii) Inside parking is not possible; (iii) The unit is parked perpendicular to the street curb or street edge, or parallel on an improved surface semi-circular drive; (iv) No part of the unit extends over a public sidewalk; and (v) Providing the body of the unit (exclusive of tongue) is at least ten feet (10') from the face of the curb or, should there be no curb, ten feet (10') from the end of the street pavement. (E) Parking is permitted in a residential district, as provided above, only if the unit is: (i) Not used for permanent dwelling purposes (unless said right appears affirmatively from other statutes or ordinances) but may be used temporarily as guest quarters for a period not to exceed more than fourteen (14) days in any six (6) month period; and (ii) Not connected to water lines or sewer lines (unless said right appears affirmatively from other statutes or ordinances) for a period of time exceeding fourteen (14) days in any six (6) month period. (Ordinance adopted 8/3/04) (F) Notwithstanding the above, a unit may be parked anywhere on the premises during active loading or unloading and the temporary use of electricity or water line hookup is permissible when necessary to prepare a recreational vehicle for use (G) Any vehicle parked for a period of less than two (2) hours while the person parking same is consuming a meal. (1959 Code of Ordinances, Sec. 10-19-5)
  • 406.
    ZONING ORDINANCE: CHAPTER12, EXHIBIT “A” ARTICLE 1 GENERAL PROVISIONS Sec. 412. Home Occupations In order to provide peace, quiet and domestic tranquillity within all residential neighborhoods within the City and in order to help all residents gain freedom from excessive noise, excessive traffic, nuisance, fire hazards and other possible side effects of commercial uses being conducted in residential areas, the following standards shall apply to all home occupations. A. Criteria 1. No person, other than members of the family who reside in the dwelling where a home occupation occurs, may engage in such occupation, profession, domestic craft, instructional or economic enterprise. 2. The area utilized for the home occupation shall not exceed 25% of the gross floor area of the principal building where the home occupation occurs. 3. In no way shall the appearance of the structure be altered or the occupation be conducted in a manner which would cause the premises to differ from its residential character either by the use of colors, materials, construction, lighting or the emissions of sounds, noise or vibrations. A home occupation shall produce no offensive noise, dust, odors or heat. A home occupation shall be completely contained within the principal building. Any noise, vibration, smoke, electrical interference, dust, odors, heat or visual or audio interference detectable beyond the property lines or beyond the walls of the dwelling unit, if the unit is part of a multi-family structure, shall constitute a violation of the terms of this Section. 4. No detached accessory building may be used in conjunction with a home occupation. 5. All material, equipment, and/or supplies used in conjunction with a home occupation shall be completely enclosed with no exterior storage, temporary or permanent, allowed. 6. No stock, goods, wares or merchandise shall be sold on the premises other than that which is prepared or produced upon the premises. Direct sales on the premises of other merchandise is allowed by prior individualized invitation. 7. Signage for home occupations shall be limited to one non-illuminated sign with a maximum area of two square feet.
  • 407.
    8. Delivery andpickup of materials to and from the home occupation shall not exceed two trips per week by a commercial vehicle. A "commercial vehicle" is that which is defined in Section 10.1001 of the City's Code of Ordinances.
  • 408.
    City of SanAngelo Memo Meeting Date: March 19, 2013 To: City Council members From: Kevin Boyd, Planner Subject: Mobile Home Permit 40, a request for temporary placement of a mobile home, not to exceed 1 year, during construction of a permanent home on the same 3 acre site in a Ranch & Estate (R&E) zoning district, on the following property: Location: 1105 West 48th Street, located approximately 320 feet east of the intersection of Lake Drive and West 48 Street; more specifically occupying the Chandler Subdivision, Section 1, Block 1, Lot 2, in northwest San Angelo. Purpose: To allow a recreational vehicle to be placed on the subject property, during the construction of a home on the same site. Contacts: Kenneth A. Rocksuold, Owner (520) 241-9550 Kevin Boyd, Planner (325) 657-4210 Caption: Consideration of request for temporary placement of a mobile home, not to exceed one year, during construction of a permanent home on the same 3 acre site. 1105 West 48th Street, located approximately 320 feet east of the intersection of Lake Drive and West 48 Street; more specifically occupying the Chandler Subdivision, Section 1, Block 1, Lot 2, in northwest San Angelo. Summary: The City Council may: (1) Approve a Mobile Home Permit allowing a mobile home on the subject property, as requested: or
  • 409.
    (2) Approve aMobile Home Permit allowing a mobile home on the subject property, subject to conditions believed necessary and appropriate to mitigate any adverse effects of such use; or (3) Deny the requested Mobile Home Permit allowing a mobile home all together. Recommendation: City staff recommends approving the temporary placement of a mobile home on the subject to one condition. History and Background: General Information Existing Zoning: Ranch & Estate (R&E) Existing Land Use: Vacant, open space Surrounding Zoning/Land Use: North: Ranch & Estate (R&E) Residential dwellings West: Ranch & Estate (R&E) Open space and vacant and Light Manufacturing commercial building (ML) South: Ranch & Estate (R&E) Storage yard East: Ranch & Estate (R&E) Residential dwellings Thoroughfares/Streets: West 48th Street is classified as a ‘local street’ designed to carry light neighborhood traffic at low speeds. Zoning History: As far back as 1949, this area has been annexed into the city. In 1949, the property was zoned Ranch & Estate (R&E), which is an equivalent to the current zoning. Applicable Regulations: Article 12.500 Section 15.504, “Temporary Mobile Home Installation.” A mobile home may be placed temporarily on a site during the construction of a home. Development Standards: Section 303.A, “R&E (Ranch & Estate) District.” The intent of R&E is to provide opportunities for development of low
  • 410.
    density, detached single-familyresidences on lots of at least one acre in a suburban or rural setting. Vision Plan Map: Commercial Related Comp Plan Excerpt(s): The intent of neighborhood is to reflect the quality of life of its community by defining each neighborhood individually within the city. The subject property is defined as “Ranch & Estate.” Special Information Traffic Concerns: The amount of traffic generated from the proposed use will be minimum. West 48 Street is able to accommodate the increased traffic generated by the site. Parking Requirements: 2 spaces, which include paved access to the street. Parking Provided: No parking currently exists on the site. Related Specific Use Standards: Section 12.501, Zoning Ordinance As used in this article, the term "mobile home" shall be interpreted to mean include "manufactured homes", or this case, recreational vehicles (RVs). Section 12.502, Zoning Ordinance All mobile homes (including manufactured homes), whether located in mobile home parks or subdivisions, or on private lots, which have been in place for a period greater than one hundred twenty (120) days, shall be tied down and anchored in accordance with state standards. Section 12.503 Skirting, Zoning Ordinance All mobile homes, whether located in mobile home parks or subdivisions, or private lots, which have been in place for a period greater than one hundred twenty (120) days, shall be skirted in accordance with the official code of the city.
  • 411.
    Notification Required?: Yes Notifications Sent: 10 Responses in Favor: 0 Responses in Opposition: 0 Analysis: The staff recommendation is based upon the statements listed below. On February 2013, the proponent made a request to temporarily place a recreational vehicle on the subject property, while his house is under construction. In normal circumstances within the city, placement of mobile homes – on a permanent basis – is limited to Manufactured Housing Parks (MHP) or Manufactured Housing Subdivisions (MHS) districts and various locations in the city where it is allowed only by use of a special permit. This temporary request is an alternative that is intended to provide temporary living quarters for the property owner, while construction of the primary structure is underway. It is important to note that once the year duration has elapsed, the use must no longer be a place of residence (Article 12.500, City Ordinances). The temporary permit procedure to allow for placement of a mobile home, in order to construct an allowed residence, is typically prohibited in Ranch & Estate zoning or any residential district. The permit does not allow for a long-term variance, in fact, a period of one year is expressly outlined in the Ordinance. In sum, approval of this request offers a temporary reprieve – with the possibility of a one year extension. The property in question is currently a vacant empty lot zoned Ranch and Estate (R&E). While the Vision Plan calls for Commercial in the area, much of the surrounding area is characteristic of low density residential development. A lot roughly 250 feet to the west is occupied by a vacant commercial building. Tracts in the area are quite sizeable; many of the lots are greater than 2 acres. Staff is recommending approval of this request given the rural nature of the area, and the fact that the proposed use is low intensive and will not disturb the natural environment of the area. Staff affirms that R&E zoning districts are required to comply with applicable standards, and that allowing this temporary permit is consistent with the spirit of the Zoning Ordinance given the long term, permanent plans for the property. Although this request would provide a temporary living solution, a possible extension granted by City Council could allow the structure to exist on the lot for an additional year. Any period longer than this, staff believes, would be a contradiction to the spirit and intent of R&E zoning. Furthermore, it would provide an exception not available to others thus creating an inequitable situation, which is not what the Zoning Ordinance
  • 412.
    seeks to encouragehere. Given the location and intent of this request, staff recommends approval since the location is appropriate, is consistent with spirit of the Zoning Ordinance, and provides equality in the administering of regulations. Proposed Conditions 1) The mobile home shall cease to be a dwelling unit on the property by February 1, 2014 as requested by the applicant, unless an extension is approved by the City Council. Attachments: Excerpt from zoning map, showing the general location within the City of San Angelo; Excerpt from zoning map, highlighting subject property; and Aerial photo, highlighting subject property; Excerpt of the favor/opposition notification map; and Applicant’s handwritten request for a temporary permit. Presentation: AJ Fawver, AICP, Interim Director of Development Services Reviewed by: Jeff Hintz, Interim Senior Planner
  • 418.
    AN ORDINANCE AMENDINGTHE CODE OF ORDINANCES OF THE CITY OF SAN ANGELO, TEXAS, CHAPTER 5 “BUSINESS AND COMMERCE”, ARTICLE 5.800 “HOTEL OCCUPANCY TAX”, SECTION 5.805 “PURPOSE AND DISTRIBUTION OF TAX”, BY REPEALING SAID SECTION IN ITS ENTIRETY AND ADOPTING A NEW SECTION 5.805 ENTITLED, “USE OF REVENUE”, TO REMOVE THE MANDATED ALLOCATION OF REVENUE FOR USES ON A FIXED PERCENTAGE BASIS AND TO PROVIDE FOR ALLOCATION OF REVENUE FOR USES PERMITTED BY LAW AS CITY COUNCIL MAY DETERMINE WILL PROVIDE THE BEST VALUE IN APPLICATION OF HOTEL OCCUPANCY TAX REVENUE TO THE CITIZENS OF SAN ANGELO BY RESOLUTION FROM TIME TO TIME. WHEREAS, the City of San Angelo levies and collects a hotel occupancy tax , the revenue of which is allocated on a fixed percentage basis for uses as mandated by the City of San Angelo Code of Ordinances, Chapter 5 “Business and Commerce”, Article 5.800 “Hotel Occupancy Tax”, Section 5.805 “Purpose and Distribution of Tax”; and, WHEREAS, the City of San Angelo is experiencing a changing economy and related positive hotel occupancy tax revenue collections and, WHEREAS, amending the Hotel Occupancy Tax Ordinance by removing the mandated allocations of revenue for uses on a fixed percentage basis, and providing that the City Council allocate revenue for uses pursuant to law as the City Council may determined from time to time, will provide the best value in application of hotel occupancy tax revenue to the citizens of City of San Angelo; NOW THEREFORE BE IT ORDAINED BY THE CITY OF SAN ANGELO: Section 1.) THAT, Chapter 5, “Business and Commerce”, Article 5.800 “Hotel Occupancy Tax” of the Code of Ordinances of the City of San Angelo, Section 5.805 “Purpose and Distribution of Tax”, is hereby repealed in its entirety and a new Section 5.805 entitled “Use of Revenue” is hereby adopted to read as follows: “Sec. 5.805 Use of Revenue (a) The revenue derived from this Hotel Occupancy Tax shall only be used to promote tourism and the convention and hotel industry as limited by the Texas Tax Code, Chapter 351 “Municipal Hotel Occupancy Taxes” as now enacted or hereafter amended, in accordance with resolution of the city council.. (b) The city council by contract may delegate to a person, including another governmental entity or a private organization, the management or supervision of
  • 419.
    programs and activitiesfunded with revenue from the tax authorized by this article. The city council shall approve in writing in advance the annual budget of the person, governmental entity or private organization to which it delegates those functions and shall require the person, governmental entity or private organization to make periodic reports to the City Council at least quarterly listing the expenditures made by the person, governmental body or private organization with revenue from the tax provided by the city as authorized by law. The person, governmental entity or private organization must maintain revenue provided by the city from the tax in a separate account established for that purpose and may not commingle that revenue with any other money or maintain it in any other account. The approval by the city council of the annual budget of that person, governmental entity or private organization to whom it delegates those functions creates a fiduciary duty in that person, governmental entity or private organization with respect to the revenue provided by the city from the tax”. (e) This article shall become effective on the date of its adoption, and shall apply to taxes due and received from and after , 2013 Section 2.) THAT, the terms and provisions of this Ordinance shall be deemed to be severable in that if any portion of this Ordinance shall be declared to be invalid, the same shall not affect the validity of the other provisions of this Ordinance Section 3.) THAT, this Ordinance shall be effective on the date of its adoption. INTRODUCED on the day of , 2013, and finally PASSED, APPROVED and ADOPTED on this the day of , 2013. CITY OF SAN ANGELO, TEXAS ATTEST: BY: Alvin New, Mayor By: Alicia Ramirez, City Clerk Approved as to Content: Approved as to Form: Michael Dane Lysia H. Bowling Assistant City Manager / CFO City Attorney
  • 420.
    City of SanAngelo Memo Date: March 7, 2013 To: Mayor and Councilmembers From: Michael Dane, Assistant City Manager/CFO Subject: Agenda Item for March 19, 2013, Council Meeting Contact: Morgan Trainer, 653-6291 Caption: Regular Agenda First Public Hearing and consideration of introducing an Ordinance amending the allocation method of Hotel Occupancy Tax and related matters AN ORDINANCE AMENDING THE CODE OF ORDINANCES OF THE CITY OF SAN ANGELO, TEXAS, CHAPTER 5 “BUSINESS AND COMMERCE”, ARTICLE 5.800 “HOTEL OCCUPANCY TAX”, SECTION 5.805 “PURPOSE AND DISTRIBUTION OF TAX”, BY REPEALING SAID SECTION IN ITS ENTIRETY AND ADOPTING A NEW SECTION 5.805 ENTITLED, “USE OF REVENUE”, TO REMOVE THE MANDATED ALLOCATION OF REVENUE FOR USES ON A FIXED PERCENTAGE BASIS AND TO PROVIDE FOR ALLOCATION OF REVENUE FOR USES PERMITTED BY LAW AS CITY COUNCIL MAY DETERMINE WILL PROVIDE THE BEST VALUE IN APPLICATION OF HOTEL OCCUPANCY TAX REVENUE TO THE CITIZENS OF SAN ANGELO BY RESOLUTION FROM TIME TO TIME; Summary: City staff is requesting the City Council consider adopting an Ordinance adopting changes to the use of hotel occupancy tax dollars. Due to San Angelo’s changing economy and positive hotel occupancy tax experience, it is prudent to change existing methodology to provide the best value to the citizens of San Angelo. Changes to the ordinance remove the requirement to allocate HOT funds on a percentage basis and allow the City Council allocate through an annual approval process. Staff will remind the Council of these percentages at the time allocations are decided and ensure Council allocates funding in accordance with State Law. History: The City of San Angelo levied the hotel occupancy tax for the operation of convention facilities, the promotion of tourism, and the improvement of the arts. Current contracts and ordinances allocate 48% of tax receipts to City of San Angelo Civic Events, 47% to the Convention & Visitors Bureau, and the remaining 5% to the San Angelo Cultural Affairs Council. The current tax rate is 7% for the City of San Angelo. The state levies an additional 6%. No change is proposed to the tax levy. On February 5, 2013 City Council discussed changing the Hotel Occupancy Tax allocation process. On March 5, 2013 staff presented a draft contract with the Chamber of Commerce Convention & Visitors Bureau to revise the way Hotel Occupancy Tax dollars are disbursed to include clear communication, performance
  • 421.
    benchmarks, demonstrate thevalue added, and allow the City Council to shape the entity’s activity. Financial Impact: Due to recent positive economic experience, Hotel Occupancy Tax receipts have increased. The proposed ordinance will allow City Council greater flexibility and will place greater accountability on recipients. As a result, any excess funds or surplus receipts will be made available for one-time or capital projects as allowed by Chapter 351 of the State Tax Code. Related Vision Item (if applicable): Financial Vision Other Information/Recommendation: Staff recommends introduction of the ordinance. Attachments: Article 5.800 of the Code of Ordinances Presentation: N/A Publication: N/A Reviewed by Director: Michael Dane, Assistant City Manager/CFO March 8, 2013 Approved by Legal: Pending
  • 423.
    City of SanAngelo Finance Department Memo Date: March 12, 2013 To: Mayor and Councilmembers From: Alicia Ramirez, City Clerk Subject: Agenda Item for March 19, 2013 Council Meeting Contact: Alicia Ramirez, City Clerk, 657-4405 Tracy Ogle, COG, 944-9666 Caption: Consideration of nominating City Council members to serve as a representatives on the Concho Valley Council of Government General Assembly Summary/History: The COG Bylaws provide voting membership eligibility for the City. The City should designate one member to the Executive Committee and two additional representatives to the General Assembly of the COG. The three representatives must be members of the Council and nominated by the Council. Due to the resignation of former Councilmember Adams, a City Council member should be nominated to fill the vacancy. According to the COG Bylaws, Representation, each member city which is incorporated and has a population exceeding 50,000 shall have three (3) representatives who are qualified and elected as prescribed in Article III, A. To date, two City Council members are appointed. Current appointees are as follows: Executive Committee - Meetings: Second Wednesday, 7:00 PM, CVCOG facility Mayor Alvin New (appointed 1/19/10) General Assembly - Meetings: Annually in December Fredd Adams (appointed 6/1/10) Charlotte Farmer (appointed 6/23/09) Financial Impact: None Related Vision Item (if applicable): N/A Other Information/Recommendation: Staff recommends Council nominate a member or members to the COG board. Attachments: Letter from COG, Bylaws, and Member Listing Presentation: N/A Publication: N/A
  • 425.
    CONCHO VALLEY COUNCILOF GOVERNMENTS GENERAL ASSEMBLY REPRESENTATIVES SEPTEMBER 2012 COUNTIES Member Government Representative(s) Status 1. Coke County Judge * Roy Blair (1) 2. Concho County Judge * Allen Amos (1) 3. Crockett County Judge *Fred Deaton (1) 4. Irion County Commissioner *John Nanny (1) 5. Kimble County Judge * Andrew Murr (1) 6. Mason County Judge * Jerry Bearden (1) 7. McCulloch County Judge * Danny Neal (1) 8. Menard County Judge * Richard Cordes (1) 9. Reagan County Judge * Larry Isom (1) 10. Schleicher County Judge * Charlie Bradley (1) 11. Sterling County Judge * Ralph Sides (1) 12. Sutton County Commissioner * Miguel Villanueva (1) 13. Tom Green County #1 Judge * Michael Brown (1) 14. Tom Green County #2 Commissioner Ralph Hoelscher (1) 15. Tom Green County #3 Commissioner Aubrey deCordova (1) CITIES 16. Big Lake Council Member Cliff Miller (1) 17. Brady Council Member Brendan Weatherman (1) 18. Bronte Mayor Gerald Sandusky (1) 19. Eden Council Member Butch Williams (1) 20. Eldorado Mayor John Nikolauk (1) 21. Junction Mayor Larry Maddux (1) 22. Mason VACANT 23. Melvin VACANT 24. Menard Mayor Barbara Hooten (1) 25. Mertzon Mayor Art Uber (1) 26. Paint Rock Mayor Duane Schniers (1) 27. Robert Lee Mayor John R. Jacobs (1) 28. San Angelo #1 Councilmember Fredd B. Adams (1) 29. San Angelo #2 Councilmember Charlotte Farmer (1) 30. San Angelo #3 VACANT 31. Sonora Mayor Smith Neal (1) 32. Sterling City VACANT- notification sent OTHER MEMBERS 33. San Angelo I.S.D. #1 * Lanny Layman (1) 34. San Angelo I.S.D. #2 Tim Archer (1) 35. State Legislator #1 * Drew Darby (2) 36. State Legislator #2 * Harvey Hilderbran (2) (1) Written designation on file (2) Appointed by Executive Committee * Also designated as Executive Committee Member
  • 426.
    BYLAWS Of the CONCHO VALLEY COUNCIL OF GOVERNMENTS San Angelo, Texas As Amended: August 9, 1978 December 10, 1980 October 10, 1981 September 11, 1982 March 6, 1996 October 14, 2009
  • 427.
    BYLAWS OF THE CONCHO VALLEY COUNCIL OF GOVERNMENTS PREAMBLE We, the elected officials of local governments in the Concho Valley Region hereby join together in a voluntary association to be known as the Concho Valley Council of Governments for the purpose of meeting at regular intervals to discuss and study community challenges of mutual interest and concern, and to develop policy and action recommendations for ratification and implementation by member local governments. We realize that our individual and common destinies rest with the interdependent actions of the local governments which comprise our region. This voluntary association which we have formed is a vehicle for closer cooperation and is not a new layer of government nor a super-government. As a voluntary organization of local governments, the members seek, by mutual agreement, solutions to mutual problems for mutual benefit. Our goal is to retain and strengthen local home rule while combining our total resources for regional challenges beyond our individual capabilities. We believe that the expansion of the concept of voluntary cooperation among local governments is an effective means for achieving this goal. We believe that cooperation must be fostered in two ways: By strengthening the abilities of local governments to meet individual local needs; and by developing a voluntary association (council) of local governments to meet the broader common needs. ARTICLE I ORGANIZATION There is hereby organized under Chapter 391, Local Government Code, (Formerly, Article 1011M, Vernon’s Annotated Civil Statutes), a regional planning commission which shall be known as the Concho Valley Council of Governments, which shall be a voluntary association of governments.
  • 428.
    ARTICLE II PURPOSE The Concho Valley Council of Governments shall be a voluntary organization of local governments to foster a cooperative effort in resolving problems, policies, and plans that are common and regional. The purpose of this organization is: A. To join and cooperate to improve the health, safety, and general welfare of their residents; B. To plan for the future development of communities, areas, and regions; C. To improve the planning of transportation systems; D. To help provide adequate street, utility, health, educational, recreational, and other essential facilities as the communities, areas, and regions grow; E. To recognize the needs of agriculture, business, and industry; F. To help provide healthful surroundings for family life in residential areas; G. To help preserve historical and cultural values; H. To help ensure the efficient and economical use of public funds is commensurate with the growth of the communities, areas, and regions. I. To make studies and plans to guide the unified, far-reaching development of a region, eliminate duplication, and promote economy and efficiency in the coordinated development of a region.
  • 429.
    ARTICLE III MEMBERSHIP A. Requirements 1. The geographic area within which eligible members shall be located, in whole or in part, is determined by reference to “Planning Regions for the State of Texas”, December, 1968. This delineation of Texas into twenty-one, now twenty-four, and multi-county planning regions was accomplished in response to a demonstrated need for improved communication and coordination among and between the planning and related efforts of the state, federal, and local governments. The Governor of Texas, by Executive Order, directed all state agencies to recognize this concept. The counties included in this region are Coke, Concho, Crockett, Irion, Kimble, Mason, McCulloch, Menard, Reagan, Schleicher, Sterling, Sutton and Tom Green. Any additions or deletions of counties in the Concho Valley State Planning Region which may be made from time to time by the Office of the Governor will accordingly affect the eligibility of such counties for membership in CVCOG. 2. Members must be geographically situated within a county listed in Article III, A.1. 3. All incorporated communities within a county shall become members simultaneously with the county. The Executive Committee may deviate from this requirement when requested if in its opinion such a deviation would give priority to the condition that the incoming members who are units of general local government together represent 75% of the aggregate population of the county. 4. The membership by a county will continue the contiguous nature of the existing membership and will not create a geographic void in the existing membership area. 5. Compliance by the member with the requirement in the Bylaws concerning financial contributions of its members. 6. Voting membership shall be open to: a. Member counties b. Member cities/towns c. Member school districts d. Member soil and water conservation districts e. Member River Authorities f. Member Water Districts g. Other special districts by permission of the Executive Committee
  • 430.
    7. Upon approvalof the Executive Committee, pending final approval of the General Assembly, eligible governmental units, public utility companies, public and private companies within the area of the CVCOG may become associate members of the CVCOG by passage of an ordinance, minute order, resolution or other appropriate and legal action of the governing body of such units adopting Articles of Association and appropriating the funds required to pay their share of the dues of the CVCOG. In no event shall an associate member in the CVCOG be entitled to voting representation in the General Assembly or on the Executive Committee. B. Representation Each member government shall be officially represented at the General Assembly as follows: 1. Each member county shall have one (1) representative who shall be an elected official, a member of the Commissioner’s Court, and elected by the Commissioner’s Court. 2. Each member county with a population exceeding 50,000 shall have two (2) additional representatives elected as prescribed in Article III, B.1. 3. Each member city which is incorporated shall have one (1) representative who shall be an elected official, a member of the member city’s legislative body, and elected by that legislative body. 4. Each member city which is incorporated and has a population exceeding 25,000 shall have two (2) representatives who are qualified and elected as prescribed in Article III, A. 5. Each member city which is incorporated and has a population exceeding 50,000 shall have three (3) representatives who are qualified and elected as prescribed in Article III, A. 6. Each member independent school district with an enrollment of 10,000 or more shall have two (2) representatives who shall be elected members of the school board. 7. Each member independent school district with an enrollment of less than 10,000 shall have one (1) representative who shall be an elected member of the school board. 8. Member Soil and Water Conservation Districts, Member River Authorities and Water Districts, and other member special districts shall each have one (1) representative who is a member of its governing body and appointed by that body. 9. The population of any member governmental unit shall be determined by the preceding United States Census. After each United States Census membership shall be adjusted accordingly.
  • 431.
    10. As usedin these Bylaws, the term “elected official” means a Mayor and other members of the governing body of a city, town or village, a county judge, a county commissioner, a member of the Board of Trustees of a School District, a member of the Board of Supervisors of a Soil and Water Conservation District, or a member of the governing body of a special district other than a Soil and Water Conservation District. 11. As used in these Bylaws, the terms “cities”, “towns”, and “villages” shall mean those communities incorporated as such pursuant to the terms and requirements of the laws of the State of Texas. 12. Representatives shall serve during the term of office to which they have been elected as members of governing bodies of CVCOG member governmental units unless replaced sooner by the appointing authority. 13. In addition to the above named members, two members of the Texas Legislature whose districts include all or part of the Concho Valley Region shall be designated by the Executive Committee to serve as members of the General Assembly. Such members shall serve until a successor shall be appointed by the Executive Committee. C. Admission and Withdrawal 1. Membership in the CVCOG shall be contingent upon execution of a resolution, ordinance, minute order or other appropriate legal action by the governing body of the member. 2. Withdrawal from membership may be accomplished upon execution of a resolution, ordinance, minute order or other appropriate legal action by the governing body of the member. D. Dues The CVCOG shall send each member before June 1st of each year a statement of dues for the coming year. Each member governmental unit shall pay to CVCOG an amount equal to one year’s dues on or before October 1st of each year. Members whose annual dues have not been paid as of October 31st of the dues’ year shall be given written notice by certified mail, return receipt requested, as soon thereafter as practicable of this delinquency, which notice shall include a statement advising such member that it is delinquent and further advising that if such dues are not paid within thirty (30) days from the date of such notice, its membership and all privileges afforded thereby, including the right to vote, shall be terminated automatically as provided herein. Thereafter, upon the expiration of thirty (30) days from the date of such notice, any delinquent member shall be notified by certified mail, return receipt requested, that its membership and all privileges afforded thereby have been terminated. A terminated member shall automatically be reinstated upon payment of all delinquent dues and the current dues, if any, then owing. The amount of annual dues shall be as follows:
  • 432.
    1. Member countiesand cities shall pay annual dues in the amount of $.05 per capita. 2. Each independent school district with an enrollment of over 10,000 shall pay annual dues of $1,000.00. 3. All other independent school districts shall pay annual dues of $100.00. 4. All other voting members shall pay annual dues of $25.00. 5. Associate members shall pay annual dues of $200.00. 6. Annual dues by any member shall in no event be less than $25.00. ARTICLE IV POLICY BODIES The CVCOG shall have two policy bodies – a General Assembly and Executive Committee. A. General Assembly 1. Quorum. A quorum of the General Assembly shall consist of a majority of the total representatives of the member general purpose governments. Proxies shall be in writing; stating the name of the proxy, date of the meeting and signed by the person giving the proxy with this stipulation: proxies may only be held by those representing the membership of the person giving the proxy, i.e. a member who represents an entity must give his or her proxy to someone representing the same entity. The presiding officer at the meeting shall be the sole judge of the validity of the proxy and shall identify all proxy votes at the beginning of each meeting. Associate members shall not be included for quorum purposes. 2. Voting. Each representative of a member government and member of the Texas Legislature designated by the Executive Committee shall have one (1) vote in the General Assembly. Proxies may vote at any meeting of the General Assembly for which they were duly appointed and accepted. 3. Meetings. The General Assembly is required to meet at least one time each fiscal year of the CVCOG. The exact date of the meeting shall be determined by the Executive Committee. Election of officers shall be held at this meeting. The General Assembly shall also meet upon call of its president or the Executive Committee, or by petition of at least 10% of the membership of the General Assembly.
  • 433.
    4. Responsibilities. The responsibilities of the General Assembly are: a. To adopt and amend Bylaws; b. To review actions of the Executive Committee; c. To annually elect from representatives of general purpose member governments a President, Vice-President, Secretary, and other officers as required.; and d. To resolve questions arising under Article III. 5. Policy Recommendations. The General Assembly may recommend policy to the Executive Committee which shall be the governing body of the CVCOG. B. Executive Committee 1. Membership a. Except when filling a vacancy, new Executive Committee members, after being duly selected, shall assume their position on the Executive Committee beginning January 1st following their appointment. b. Each county, within the Concho Valley region, shall have one representative who shall be the County Judge or a County Commissioner, appointed by the Commissioner’s Court. c. A member city with a population of 50,000 or more (determined by the preceding U.S. Census) shall have one (1) representative on the Executive Committee chosen from that unit’s governing body. d. A member independent school district with an enrollment exceeding 10,000 shall have one (1) representative on the Executive Committee chosen from that independent school district’s representatives to the General Assembly. e. Two members of the Texas Legislature chosen by the other members of the Executive Committee from among the legislators whose districts include all or a portion of the Concho Valley Region shall be voting members of the Committee. Such members shall serve until a successor shall be appointed. 2. Officers. a. The officers of the Executive Committee shall be Chair, Vice-Chair and Secretary. The officers shall be elected annually by the Executive Committee. b. Should a vacancy occur in the office of the Chair, the Vice-Chair shall become Chair for the balance of the unexpired term. Should a vacancy occur in the office of Vice-Chair, the Secretary shall become Vice-Chair for the balance of the unexpired term. Should a vacancy occur in the office of the Secretary, the Executive Committee shall by simple majority of the members present, elect a new Secretary to serve the balance of the unexpired term. 3. Quorum. A quorum of the Executive Committee shall consist of a majority of the total members of the Executive Committee in good standing. Proxies shall be in writing; stating the name of the proxy, date of the meeting and signed by the person giving the proxy with this
  • 434.
    stipulation: proxies mayonly be held by fellow Executive Committee members in good standing. The presiding officer at the meeting shall be the sole judge of the validity of the proxy and shall identify all proxy votes at the beginning of each meeting. Proxies do not count for purposes of a quorum. 4. Vacancies. Should any member of the Executive Committee miss three consecutive regular meetings of such Committee without reason satisfactory to the Executive Committee, then the Executive Committee may declare the post vacated. When a vacancy occurs on the Executive Committee by reason or removal, resignation, death, withdrawal from public office, or any other reason, the remaining members of the Executive Committee shall appoint an eligible replacement until the appropriate appointing authority designates a new member. 5. Voting. Voting on routine matters in the Executive Committee requires a simple majority of those members present and voting. Proxies may vote at any meeting of the Executive Committee for which they were duly appointed and accepted. 6. Meetings. The Executive Committee shall meet at least monthly or on call of its Chairman, or at the direction of the General Assembly, or upon call of at least 10% of the voting membership of the Executive Committee. 7. Responsibilities. The responsibilities of the Executive Committee are: a. To adopt CVCOG budget and membership fee schedules; b. To initiate, advise and aid in the establishment of cooperative arrangements, among local governments in the region; c. To propose, initiate, or approve any study, policy discussion, plan, or other CVCOG policy matters; d. To resolve questions arising under Article IV.B.1. e. To make recommendations to any local governments or other appropriate agencies or entities; f. To propose amendments to intergovernmental agreements for ratification of members; g. To designate an Applications Review Committee pursuant to Section 204 of the Demonstration Cities and Metropolitan Development Act of 1966, and relevant Executive Orders, in accordance with the guidelines established by the Office of Management and Budget. h. To nominate a slate of officers to the General Assembly for approval and election; i. To appoint, fix salary of, and remove Executive Director; j. To be responsible for prescribing adequate controls for the investment, receipts, disbursement, and accounting for all CVCOG funds. k. To review CVCOG’s investment policy annually.
  • 435.
    l. To providefor an independent audit annually, with the auditor selected pursuant to a Request for Proposals (RFP) to be released at least every five (5) years. The maximum number of consecutive years that an auditor may provide services shall be five (5). m. To provide an opportunity for the state and federal governments and other agencies having interest to participate in CVCOG activities; n. To seek and accept contributions and grants-in-aid; o. To provide for the duties, responsibilities and powers of officers and staff members; p. To execute, approve execution, ratify, confirm, or authorize the execution of any contract or any amendment of any contract in its own right or by and through the Executive Director until such time as the Executive Committee shall by resolution terminate such power; q. To provide that the certification of the Executive Director to the termination or non- termination of any power to contract, granted in these Bylaws, shall be conclusive of the same. ARTICLE V STAFF The CVCOG shall have staff as provided for by the policy bodies. The Executive Committee shall have authority to appoint and remove the Executive Director and may authorize such other staff positions deemed necessary to carry out the functions of the CVCOG. The Executive Director shall be responsible for coordinating all staff and consultant services provided for to the CVCOG, preparing and administering the Annual work program and budget, employing, retaining, and removing all other personnel as may be necessary, performing all other duties delegated to him by the Executive Committee, including but not limited to the power to execute contracts as hereinafter specified. When time is of the essence, as determined by the Executive Director, said Executive Director shall have the power to execute any and all proper contracts, agreements or amendments of the same, and said contract, agreement, or amendment of the same shall be valid, binding and in full force and effect until such time as the Executive Committee shall by resolution reject it. When time is not of the essence, as determined by the Executive Director, each contract, agreement and/or amendment of the same shall be specifically approved by the Executive Committee by Resolution attached to the same, before the same shall be binding and in full force and effect. The certificate of the Executive Director that time is of the essence and that his contractual powers have not been terminated shall be conclusive of the same. The Executive Committee may require a fidelity bond, or other appropriate insurance of fidelity coverage in such amounts as seem prudent, on designated members of the Executive Committee and staff. The premiums for such bonds or insurance shall be paid by the CVCOG.
  • 436.
    ARTICLE VI FINANCE A. Budget The annual budget may be prepared in a manner that involves the splitting of the budget into a core budget and a special projects budget. The core budget will be the basic program budget, the benefits of which are received by all members. The special projects budget will include items of special interest and benefit to some of the members, but not necessarily all of them. The special projects budget will be supported by special contributions from those governments which directly benefit from the special project. B. Authorization to Sign Checks Checks will be signed by the persons to be designated by the Executive Committee. The Executive Director will certify that the item or the items for which the check is issued are payable and where appropriate will allocate charges to a specific project. C. Contributed Services Financial contributions to the CVCOG may take the form of contributed services, the cash equivalent of which can be readily determined.
  • 437.
    ARTICLE VII CITIZEN INVOLVEMENT The solicitation and consideration of citizen viewpoints shall be achieved through the mechanism of citizen advisory committees which shall be designated by and serve at the pleasure of the General Assembly and/or the Executive Committee. ARTICLE VIII AMENDMENTS These Bylaws may be amended (repealed) or added to at regular or special meetings of the General Assembly, provided that ten (10) days in advance of the meeting a written notice shall have been sent to each representative, which notice shall state the amendments or changes which are proposed to be made in such Bylaws. Proposed amendments shall be considered to have passed if two-thirds of the participating representatives vote in the affirmative. ****** Adopted October 7, 1967 Amended August 9, 1978 December 10, 1980 October 10, 1981 September 11, 1982 March 6, 1996 October 14, 2009