April 2018
Graceland Gardens Development Kamma Heights
design info
TYPE PRICE SIZE BEDROOM BATH CARPORT
UNIT 1 R 895 000 111m² 4 2 2
UNIT 2 & 3 R 895 000 111m² 3 2 2
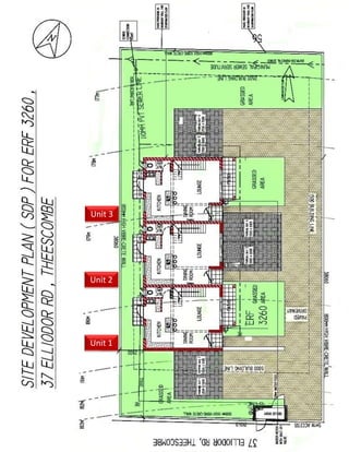
Site
Location
Sectional Title
Includes Transfer Fees
No Transfer Duty
Electric Fencing
Unit 3
Unit 2
Unit 1
R577 000
Graceland Gardens
SPECIFICATION : As below
ARCHITECTURAL PLANS
The plans as drawn by the Architect is final and no alterations will be entertained.
DEVELOPER
THE DEVELOPER means the party contracting with the Seller for the Execution of the Works namely
Fradu Property Development. The development is covered by the NHBRC.
VARIATIONS
The developer will not vary from the drawing and specifications. If the developer agrees to
vary on the specifications the developer shall give a quotation in the form of a Variation Order.
The work as specified in the Variation Order shall not be carried out unless the Purchaser has signed
the Variation Order prior to commencement of the new work and made payment of such variation in
full. PLEASE NOTE : An administration fee of 15% will be added to the variation order.
CLEAR SITE
The area to be built upon shall be cleared of all rubbish, bush, shrubs and the roots of it shall be
removed up by the developer. On completion, the developer will clear the site of Builders rubble
P.C. SUMS
Where referred to in this schedule. The Purchaser has Fourteen Days from date asked by the
developer, to furnish a complete schedule of choice. The selection can only be made from the
developer’s selection of finishes. Delays causing loss will be charged for. Any purchases higher
than PC Sums must be settled in full with the supplier prior to the supply of goods to the developer.
The developer will in no sense be liable for such payment in excess of PC SUM or offset any monies
of credits therefore. All PC amounts include VAT.
EXCAVATION OF TRENCHES
All foundations are to be excavated to several lengths, widths and depths to the sizes shown on the
Architectural drawings. No concrete will be cast in foundation trenches until the excavations have
been checked by Architect or Engineer.
The engineer carries out a penetrometer test prior to the casting of the foundations. Should the
readings show unstable soil conditions and that special foundations are required, then account will
be for the purchaser.
CONCRETE FOUNDATIONS
In accordance with specifications of the Engineer.
CONCRETE SURFACE BEDS, CONCRETE SLABS, STAIRCASE
Rib and Block in accordance with specifications of the Engineer.
BRICKWORK ON ALL WALLS
Shall be built to the thickness, height and type of bricks as specified on the drawings. All external
walls plastered and painted.
All pointing to the brickwork will be recessed square pointing.
Damp proof course to wall is 375 micron Brickgrip, stepped in cavity walls and built in all windows
and external door openings.
INTERNAL SILLS
All internal sills are plastered.
EXTERNAL CILLS AND SOFFITS
Brick
INTERNAL WALLS
All internal walls to the unit are plastered.
BRICK LINTELS
Unless reinforced lintels are specified or shown on drawings, the brick lintels will be built of normal
stock bricks and reinforced with minimum of three layers of brick force above.
CARPENTRY
TIMBER SKIRTING
76mm White skirting.
BALUSTRADES (double storeys) where applicable
Painted pine balustrade at staircase (where applicable)
BUILT IN FIXTURES AND FITTINGS
P.C. AMOUNTS: As per summary annexure
Doorframes External: Meranti timber frames- varnished.
Front door: Horizontal slat door
: 3 Lever lock
: Stainless Steel handle
: Aluminium hinges
Back door: Meranti stable door- varnished ( If applicable)
: 3 Lever lock
: Stainless Steel handle
: aluminium hinges
Doorframes internal: Steel jamb linings painted white.
Internal doors: horizontal painted panel doors – Painted white
: Multilever locks
: Stainless Steel handles
: Aluminium hinges
ALUMINIUM WINDOWS:
Siliver aluminium
SLIDING DOORS
Silver aluminium sliding doors as shown on plan if applicable.
CUPBOARDS:
PC AMOUNTS INCLUDE VAT :
No alterations can be made to the layouts.
Cupboards will be installed by builder’s contractor only.
Cupboards drawn on plans are guidelines only. The quantity of cupboards of the specification prevails.
Cupboard finishes:
Interior: White melamine
Masonite backings in kitchen. No backings in sink, bedrooms and linen cupboard. (if applicable)
Exterior: Kitchen: Melamine doors
: 3 colours to choose from
: Formica tops
Bedrooms: white melamine only
Handles: Handles to all cupboards: Stainless Steel bar handle 192 mm.
PC R 20 including vat. All bedroom cupboards : ceiling height
CUPBOARDS PHASE 3
DESIGN A / 3 BEDROOM PC R 30 000
KITCHEN : 3.6 M BOTTOM UNIT
KITCHEN : 2.8M TOP UNIT
KITCHEN :.450 M GROCERY CUPBOARD
BEDROOM 1 : 1.8M
BEDROOM 2 :.900M
BEDROOM 3 :.900M
DESIGN B / 4 BEDROOM PC R 23 000
KITCHEN : 4.8M BOTTOM UNIT
KITCHEN : 2.2M TOP UNIT
KITCHEN : .450 M GROCERY CUPBOARD
BEDROOM 1 : 1.8 M
BEDROOM 2 : .900M
BEDROOM 3 : .900M
BEDROOM 4 : .900M
ROOFING
Roof Tiles
IBR Roof sheets, Dolphin Blue
Gutters
Aluminium Gutters with pvc downpipes.
CEILINGS
Downstairs - Rhino board ceilings throughout fixed on 38mm x 38mm brandering.
Skimmed.
75mm standard “Rhino” coved cornices
Upstairs – Exposed Trusses
FINISHING
CURTAIN TRACKS:
Double tracks complete with track and runners to all windows and sliding doors.
Single slim track to bathrooms, kitchen windows.
CERAMIC TILING
P.C. AMOUNT: R90 (ninety Rand incl. vat) per square meter .
Supplied and laid by contractor’s supplier and tiler.
Purchaser to supply own motives and listellos at his own cost. The contract makes no provision for stone or slate.
Should this be required a variation order must be issued. STRAIGHT TILING ONLY
Please note that diamond shape tiling, stone, slate and listellos will also require a variation order.
CERAMIC FLOOR TILES
Area tiled to all floors to developers spec
CERAMIC WALL TILES
Bathroom walls: Tiled from floor to ceiling per developers choice
Kitchen Walls: Tiled above all counter tops to a height of 450mm
SHOWER FLOORS
100x100 squares cut from the floor tiles to match per developers choice
SHOWER DOORS:
Where applicable : standard white pivot door
BATHROOM FITTINGS:
Toilet roll holder, soap dish and towel rail as per Ruby Range
MIRRORS:
Bathrooms : Above the basins
PAVING
Grey cement pavers to the walkways leading from the vehicle access ramps to the unit front doors.
DRAINLAYER AND PLUMBER
DRAINAGE
To be laid by a qualified drain layer and according to plans and complying with all Municipal regulations and by-laws.
PLUMBING
All plumbing installations to be executed by a qualified plumber according to plans and to comply with all Municipal
regulations and by-laws.
WATER METERS
All units to receive sub meters
BATHROOMS
All taps and fittings as per Ruby Range
Fittings and taps as per plan
MAIN BATHROOM :
MAIN BATHROOM
Bath: Discovery bath with overhead shower and glass panel
Shower : Ruby mixer .27 arm and 065 shower head (where applicable)
Basin: Classic white basin on pedestal
Ruby basin mixer
Toilet: Standard classic white close couple toilet suite
A1 Deluxe toilet seat
MAIN EN SUITE
Shower : Ruby concealed mixer .027 arm and 065 shower head
Basin : Classic white basin on pedestal
Ruby basin mixer
Toilet : Standard classic white close couple suite
A1 Deluxe toilet seat
KITCHEN
Dominox 1200 mm double bowl stainless steel drop in sink
Ruby sink mixer with plugs and chains
Ballo stop washing machine point with lever (cold water only)
HOT WATER CYLINDER
150l Geyser with heat pump
GARDEN TAPS
1 garden tap
ELECTRICAL
Prepaid meters will be installed in all units
External fittings are standard specified fittings and form part of your pc amount and your amount of light points. One
light and light point per room.
Downlighters : Will be charged per light and per light point. (One downlighter constitutes a light fitting and light point)
A variation order will be issued for downlighters and is payable upfront. No downlighters downstairs. Fan lights and
chandeliers are not standard lights. A variation order will be issued to fit these lights.
The PC amount is for light fittings only.
The position and quantity of plugs, switches and light fittings are standard as per specification. Additional light points
and plugs will be charged for.
Wall plugs to be at standard height and the quantity allowed for include the garage door.
LIGHT AND PLUG POINTS
PC amount for lights : R 3700 INCLUDING VAT
TYPE A / 3 BEDROOM UNIT
Light points : 15
Plug points : 15
TYPE B / 4 BEDROOM UNIT
Light points : 16
Plug points : 17
All fittings must be supplied with energy saving light bulbs.
MAIN DISTRIBUTION BOARD
To be situated in a convenient position in the kitchen with pre-paid electricity.
TELEPHONE POINT
One telephone point in unit positioned in kitchen. (Excludes telephone line)
ELECTRICAL APPLIANCE PC R 4 500 including vat
Defy slimline undercounter, oven and hob.
No extractor fan. No provision for plug for
Extractor fan.
TV POINT
One T.V. point. One in lounge. Conduit only (no aerial supplied)
PAINTER AND GLAZIER
EXTERIOR PAINTING
One coat filler coat and two coats Plascon PEM 900.
Colour : By Architect
INTERIOR PAINTING
One coat filler and two coats Plascon PEM 900.
One colour in standard tint base. Colour: COGNAC CREAM. Dark colours that require special tint bases and repeated
coats will be charged for.
INTERNAL DOORS
One coat Undercoat and 2 coats White matt enamel paint.
DOOR JAMBS AND SKIRTINGS
One coat pink primer one coat undercoat and 2 coats white matt enamel paint.
HARDWOOD DOORS AND FRAMES
Varnished in standard colour of developers choice.
GLAZING
All clear glass to be fitted by specialist firm. Sizes and thickness to suite appropriate glazing areas.
Frosted glass to bathrooms
GATES TO YARD
One galvanized iron pedestrian gate where applicable
WASH LINE
Wall mounted washing line consisting of fold-away aluminum frame and
nylon line.
SITE WORKS
STREET LIGHTS
Refer to plan.
ROADWAY, PARKING BAYS DOUBLE CARPORT
New road and entrance to be grey coloured cement pavers as per the plan.
CARPORT (WHERE APPLICABLE)
SINGLE GALVANISED STEEL CARPORT (AS PER PLAN)
GRASSING
Roll on “Kikuyu” grass to all applicable areas
LETTER BOXES
One letterbox at main gate per unit.
NUMERALS
I fitted to each unit as per developers choice.
COMPLEX NAME SIGN
To be fixed at main entrance
INTERMEDIATE, BACK AND SIDE WALLING
Plain grey precast vibracrete wall
FRONT WALL
Plaster and paint boundary wall to a height of 1.8m above ground level.
ELECTRICAL PERIMETER FENCE
3 Strands electrical perimeter fence

Graceland Gardens Development

  • 1.
    April 2018 Graceland GardensDevelopment Kamma Heights
  • 2.
    design info TYPE PRICESIZE BEDROOM BATH CARPORT UNIT 1 R 895 000 111m² 4 2 2 UNIT 2 & 3 R 895 000 111m² 3 2 2 Site Location Sectional Title Includes Transfer Fees No Transfer Duty Electric Fencing
  • 3.
  • 4.
  • 10.
    Graceland Gardens SPECIFICATION :As below ARCHITECTURAL PLANS The plans as drawn by the Architect is final and no alterations will be entertained. DEVELOPER THE DEVELOPER means the party contracting with the Seller for the Execution of the Works namely Fradu Property Development. The development is covered by the NHBRC. VARIATIONS The developer will not vary from the drawing and specifications. If the developer agrees to vary on the specifications the developer shall give a quotation in the form of a Variation Order. The work as specified in the Variation Order shall not be carried out unless the Purchaser has signed the Variation Order prior to commencement of the new work and made payment of such variation in full. PLEASE NOTE : An administration fee of 15% will be added to the variation order. CLEAR SITE The area to be built upon shall be cleared of all rubbish, bush, shrubs and the roots of it shall be removed up by the developer. On completion, the developer will clear the site of Builders rubble P.C. SUMS Where referred to in this schedule. The Purchaser has Fourteen Days from date asked by the developer, to furnish a complete schedule of choice. The selection can only be made from the developer’s selection of finishes. Delays causing loss will be charged for. Any purchases higher than PC Sums must be settled in full with the supplier prior to the supply of goods to the developer. The developer will in no sense be liable for such payment in excess of PC SUM or offset any monies of credits therefore. All PC amounts include VAT. EXCAVATION OF TRENCHES All foundations are to be excavated to several lengths, widths and depths to the sizes shown on the Architectural drawings. No concrete will be cast in foundation trenches until the excavations have been checked by Architect or Engineer. The engineer carries out a penetrometer test prior to the casting of the foundations. Should the readings show unstable soil conditions and that special foundations are required, then account will be for the purchaser. CONCRETE FOUNDATIONS In accordance with specifications of the Engineer. CONCRETE SURFACE BEDS, CONCRETE SLABS, STAIRCASE Rib and Block in accordance with specifications of the Engineer. BRICKWORK ON ALL WALLS Shall be built to the thickness, height and type of bricks as specified on the drawings. All external walls plastered and painted. All pointing to the brickwork will be recessed square pointing. Damp proof course to wall is 375 micron Brickgrip, stepped in cavity walls and built in all windows and external door openings.
  • 11.
    INTERNAL SILLS All internalsills are plastered. EXTERNAL CILLS AND SOFFITS Brick INTERNAL WALLS All internal walls to the unit are plastered. BRICK LINTELS Unless reinforced lintels are specified or shown on drawings, the brick lintels will be built of normal stock bricks and reinforced with minimum of three layers of brick force above. CARPENTRY TIMBER SKIRTING 76mm White skirting. BALUSTRADES (double storeys) where applicable Painted pine balustrade at staircase (where applicable) BUILT IN FIXTURES AND FITTINGS P.C. AMOUNTS: As per summary annexure Doorframes External: Meranti timber frames- varnished. Front door: Horizontal slat door : 3 Lever lock : Stainless Steel handle : Aluminium hinges Back door: Meranti stable door- varnished ( If applicable) : 3 Lever lock : Stainless Steel handle : aluminium hinges Doorframes internal: Steel jamb linings painted white. Internal doors: horizontal painted panel doors – Painted white : Multilever locks : Stainless Steel handles : Aluminium hinges ALUMINIUM WINDOWS: Siliver aluminium SLIDING DOORS Silver aluminium sliding doors as shown on plan if applicable. CUPBOARDS: PC AMOUNTS INCLUDE VAT : No alterations can be made to the layouts. Cupboards will be installed by builder’s contractor only. Cupboards drawn on plans are guidelines only. The quantity of cupboards of the specification prevails. Cupboard finishes: Interior: White melamine Masonite backings in kitchen. No backings in sink, bedrooms and linen cupboard. (if applicable) Exterior: Kitchen: Melamine doors
  • 12.
    : 3 coloursto choose from : Formica tops Bedrooms: white melamine only Handles: Handles to all cupboards: Stainless Steel bar handle 192 mm. PC R 20 including vat. All bedroom cupboards : ceiling height CUPBOARDS PHASE 3 DESIGN A / 3 BEDROOM PC R 30 000 KITCHEN : 3.6 M BOTTOM UNIT KITCHEN : 2.8M TOP UNIT KITCHEN :.450 M GROCERY CUPBOARD BEDROOM 1 : 1.8M BEDROOM 2 :.900M BEDROOM 3 :.900M DESIGN B / 4 BEDROOM PC R 23 000 KITCHEN : 4.8M BOTTOM UNIT KITCHEN : 2.2M TOP UNIT KITCHEN : .450 M GROCERY CUPBOARD BEDROOM 1 : 1.8 M BEDROOM 2 : .900M BEDROOM 3 : .900M BEDROOM 4 : .900M ROOFING Roof Tiles IBR Roof sheets, Dolphin Blue Gutters Aluminium Gutters with pvc downpipes. CEILINGS Downstairs - Rhino board ceilings throughout fixed on 38mm x 38mm brandering. Skimmed. 75mm standard “Rhino” coved cornices Upstairs – Exposed Trusses FINISHING CURTAIN TRACKS: Double tracks complete with track and runners to all windows and sliding doors. Single slim track to bathrooms, kitchen windows. CERAMIC TILING P.C. AMOUNT: R90 (ninety Rand incl. vat) per square meter . Supplied and laid by contractor’s supplier and tiler. Purchaser to supply own motives and listellos at his own cost. The contract makes no provision for stone or slate. Should this be required a variation order must be issued. STRAIGHT TILING ONLY Please note that diamond shape tiling, stone, slate and listellos will also require a variation order. CERAMIC FLOOR TILES Area tiled to all floors to developers spec
  • 13.
    CERAMIC WALL TILES Bathroomwalls: Tiled from floor to ceiling per developers choice Kitchen Walls: Tiled above all counter tops to a height of 450mm SHOWER FLOORS 100x100 squares cut from the floor tiles to match per developers choice SHOWER DOORS: Where applicable : standard white pivot door BATHROOM FITTINGS: Toilet roll holder, soap dish and towel rail as per Ruby Range MIRRORS: Bathrooms : Above the basins PAVING Grey cement pavers to the walkways leading from the vehicle access ramps to the unit front doors. DRAINLAYER AND PLUMBER DRAINAGE To be laid by a qualified drain layer and according to plans and complying with all Municipal regulations and by-laws. PLUMBING All plumbing installations to be executed by a qualified plumber according to plans and to comply with all Municipal regulations and by-laws. WATER METERS All units to receive sub meters BATHROOMS All taps and fittings as per Ruby Range Fittings and taps as per plan MAIN BATHROOM : MAIN BATHROOM Bath: Discovery bath with overhead shower and glass panel Shower : Ruby mixer .27 arm and 065 shower head (where applicable) Basin: Classic white basin on pedestal Ruby basin mixer Toilet: Standard classic white close couple toilet suite A1 Deluxe toilet seat MAIN EN SUITE Shower : Ruby concealed mixer .027 arm and 065 shower head Basin : Classic white basin on pedestal Ruby basin mixer Toilet : Standard classic white close couple suite A1 Deluxe toilet seat KITCHEN Dominox 1200 mm double bowl stainless steel drop in sink Ruby sink mixer with plugs and chains
  • 14.
    Ballo stop washingmachine point with lever (cold water only) HOT WATER CYLINDER 150l Geyser with heat pump GARDEN TAPS 1 garden tap ELECTRICAL Prepaid meters will be installed in all units External fittings are standard specified fittings and form part of your pc amount and your amount of light points. One light and light point per room. Downlighters : Will be charged per light and per light point. (One downlighter constitutes a light fitting and light point) A variation order will be issued for downlighters and is payable upfront. No downlighters downstairs. Fan lights and chandeliers are not standard lights. A variation order will be issued to fit these lights. The PC amount is for light fittings only. The position and quantity of plugs, switches and light fittings are standard as per specification. Additional light points and plugs will be charged for. Wall plugs to be at standard height and the quantity allowed for include the garage door. LIGHT AND PLUG POINTS PC amount for lights : R 3700 INCLUDING VAT TYPE A / 3 BEDROOM UNIT Light points : 15 Plug points : 15 TYPE B / 4 BEDROOM UNIT Light points : 16 Plug points : 17 All fittings must be supplied with energy saving light bulbs. MAIN DISTRIBUTION BOARD To be situated in a convenient position in the kitchen with pre-paid electricity. TELEPHONE POINT One telephone point in unit positioned in kitchen. (Excludes telephone line) ELECTRICAL APPLIANCE PC R 4 500 including vat Defy slimline undercounter, oven and hob. No extractor fan. No provision for plug for Extractor fan. TV POINT One T.V. point. One in lounge. Conduit only (no aerial supplied) PAINTER AND GLAZIER EXTERIOR PAINTING One coat filler coat and two coats Plascon PEM 900. Colour : By Architect INTERIOR PAINTING One coat filler and two coats Plascon PEM 900. One colour in standard tint base. Colour: COGNAC CREAM. Dark colours that require special tint bases and repeated coats will be charged for. INTERNAL DOORS One coat Undercoat and 2 coats White matt enamel paint.
  • 15.
    DOOR JAMBS ANDSKIRTINGS One coat pink primer one coat undercoat and 2 coats white matt enamel paint. HARDWOOD DOORS AND FRAMES Varnished in standard colour of developers choice. GLAZING All clear glass to be fitted by specialist firm. Sizes and thickness to suite appropriate glazing areas. Frosted glass to bathrooms GATES TO YARD One galvanized iron pedestrian gate where applicable WASH LINE Wall mounted washing line consisting of fold-away aluminum frame and nylon line. SITE WORKS STREET LIGHTS Refer to plan. ROADWAY, PARKING BAYS DOUBLE CARPORT New road and entrance to be grey coloured cement pavers as per the plan. CARPORT (WHERE APPLICABLE) SINGLE GALVANISED STEEL CARPORT (AS PER PLAN) GRASSING Roll on “Kikuyu” grass to all applicable areas LETTER BOXES One letterbox at main gate per unit. NUMERALS I fitted to each unit as per developers choice. COMPLEX NAME SIGN To be fixed at main entrance INTERMEDIATE, BACK AND SIDE WALLING Plain grey precast vibracrete wall FRONT WALL Plaster and paint boundary wall to a height of 1.8m above ground level. ELECTRICAL PERIMETER FENCE 3 Strands electrical perimeter fence