http://taverna.org.uk/	
  


S"an	
  Soiland-­‐Reyes	
  &	
  Robert	
  Haines	
  
myGrid,	
  School	
  of	
  Computer	
  Science	
  
         University	
  of	
  Manchester,	
  UK	
  




                                                    ITER	
  IM	
  workshop	
  
                               Château	
  de	
  Cadarache,	
  2011-­‐06-­‐08	
  
What	
  is	
  myGrid?	
  
    An	
  e-­‐Science	
  Collabora"on	
  Since	
  2001	
  
    Not	
  a	
  grid!	
  
    Numerous	
  partners	
  involved:	
  
         University	
  of	
  Manchester	
  
         University	
  of	
  Southampton	
  
         University	
  of	
  Oxford	
  
         EMBL-­‐EBI	
  
    Provides	
  sustainable	
  and	
  produc"on	
  quality	
  soTware	
  
       Supported	
  by	
  OMII-­‐UK,	
  EPSRC	
  and	
  BBSRC	
  
    Mixture	
  of	
  developers,	
  bioinforma"cians	
  and	
  
     researchers	
  
                  SoTware	
  |	
  Services	
  |	
  Content	
  |	
  Skills	
  |	
  Community	
  


                     http://www.mygrid.org.uk/	
                             http://www.taverna.org.uk/	
  
Mo"va"on:	
  
Bioinforma)cs	
  
    Challenge:	
  
       Large	
  amounts	
  of	
  data	
  
       Many	
  open	
  ques"ons	
  
       Numerous	
  freely	
  
        available	
  public	
  
        datasets	
  and	
  analysis	
  
        tools	
  




                     http://www.mygrid.org.uk/	
     http://www.taverna.org.uk/	
  
Huge	
  amounts	
  of	
  data	
  
                                                              Microarray	
  
                                                              1000+	
  Genes	
  


       QTL	
  regions	
  
       100+	
  Genes	
         How	
  do	
  I	
  look	
  
                                                                              Next	
  Gen	
  
                              at	
  all	
  the	
  genes	
  
                              systema)cally?	
                                Sequencing	
  

                                                                                       100,000+	
  
                                                                                       Genes	
  



             http://www.mygrid.org.uk/	
                       http://www.taverna.org.uk/	
  
Manual	
  approach	
  
    Search	
  using	
  public	
  web	
  sites	
  and	
  databases	
  
       Pubmed	
  
       Uniprot	
  
       EBI	
  BioMart	
  
    Copy	
  and	
  paste	
  to	
  web	
  tools	
  for	
  analysis	
  
       NCBI	
  Blast	
  
       EBI	
  InterPro	
  
    Further	
  processing	
  locally	
  
       R	
  
       Perl	
  
       Python	
  


                     http://www.mygrid.org.uk/	
         http://www.taverna.org.uk/	
  
Manual:	
  disadvantages	
  
•    Scale	
  of	
  analysis	
  task	
  overwhelms	
  researchers	
  
     –	
  lots	
  of	
  data	
  
•    User	
  bias	
  and	
  premature	
  filtering	
  of	
  datasets	
  –	
  
     cherry	
  picking	
  
•    Hypothesis-­‐Driven	
  approach	
  to	
  data	
  analysis	
  
•    Constant	
  changes	
  in	
  data	
  -­‐	
  problems	
  with	
  re-­‐
     analysis	
  of	
  data	
  
•    Implicit	
  methodologies	
  (hyper-­‐linking	
  through	
  
     web	
  pages)	
  
•    Error	
  prolifera)on	
  from	
  any	
  of	
  the	
  listed	
  issues	
  
     –	
  notably	
  human	
  error	
  

                  http://www.mygrid.org.uk/	
          http://www.taverna.org.uk/	
  
Web	
  services	
  and	
  workflows	
  
  Web	
  services	
  
     Technology	
  and	
  standards	
  for	
  exposing	
  code	
  and	
  
      data	
  resources	
  that	
  can	
  be	
  programma)cally	
  
      consumed	
  by	
  a	
  remote	
  third	
  party	
  
     Descrip"on	
  on	
  how	
  to	
  interact	
  with	
  the	
  service,	
  
       parameters,	
  documenta"on	
  
  Workflows	
  
     General	
  technique	
  for	
  describing	
  and	
  execu"ng	
  
       a	
  process	
  
      Describe	
  what	
  you	
  want	
  to	
  do	
  running	
  which	
  
       services	
  

                  http://www.mygrid.org.uk/	
           http://www.taverna.org.uk/	
  
The Taverna Open Source Suite of Tools          Web Portals
Workflow Repository           GUI Workbench       Client User Interfaces

                                                         Virtual
                                                        Machine


                                                  Third Party Tools
 Service Catalogue

                        Workflow Engine

                       Provenance      Workflow
                          Store         Server

Activity and Service
 Plug-in Manager
                             Open
                          Provenance
                             Model




                                                  Programming and
                          Secure Service Access         APIs
Taverna	
  workflows	
                                                                                                Workflow Inputs

                                                                                                                                   start_position     chromosome_name         end_position


                                                                                                                                                         genes_in_qtl




                                                                                                                                                                                                                                A	
  set	
  of	
  (local	
  and	
  remote)	
  
                                                                                                                                                    mmusculus_gene_ensembl


                                                                                      remove_entrez_duplicates         remove_uniprot_duplicates         create_report
                                                                                                                                                                                                                            
                                                                                                                                                                                                                                services	
  to	
  analyze	
  or	
  manage	
  
                                                                                         merge_entrez_genes                merge_uniprot_ids


                                                                                              remove_Nulls               REMOVE_NULLS_2




                                                                                                                                                                                                                                data	
  
                                                                                              add_ncbi_to_string         add_uniprot_to_string


                                                                                               Kegg_gene_ids_2            Kegg_gene_ids


                                                                                                             concat_kegg_genes




                                                                                                                                                                                                                               Nested	
  workflows	
  are	
  also	
  
                                                                split_gene_ids      regex_2


                                                             split_for_duplicates




                                   Get_pathways
                                                 remove_duplicate_kegg_genes




                                                           Workflow Inputs
                                                                                                                                                                                                                                services	
  
                                                                                                                                                                                                                                Data-­‐links	
  connects	
  services	
  
                                           regex             gene_ids


                                           split_by_regex


                                                  lister
                                                                                                                                                                                                                            
                                                     get_pathways_by_genes1
                                                                                                                                                                                                                                  i.e.	
  output	
  from	
  service	
  A	
  is	
  input	
  to	
  
                                                                                                                                                                                                                                   service	
  B	
  and	
  C	
  
                                                            Merge_pathways


                                                       concat_ids




                                                                                                                                                                                                                                  Describes	
  the	
  desired	
  dataflow	
  
                                     concat_gene_pathway_ids


                                      Merge_gene_pathways




                                                                                                                                                                                                                                   instead	
  of	
  process	
  coordina"on	
  
                                     Workflow Outputs


                                       pathway_genes           pathway_ids



                                                            merge_pathway_list_1


                                                            merge_pathway_list_2


                                                                         split_for_duplicate_pathways
                                                                                                                                                                                                                               Automa"c	
  itera"ons	
  
                                                                                                                                                                                                                                Can	
  customize	
  list	
  handling	
  and	
  
                                                                             remove_duplicate_ids


                                                                             pathway_descriptions
                                                                                                                                                                                                                            
                                                                                                                                                                                                                                control	
  links	
  
       gene_descriptions        merge_genes_and_pathways                remove_pathway_duplicates


      merge_gene_desc          merge_genes_and_pathways_2                merge_pathway_desc


        remove_nulls_3        merge_genes_and_pathways_3                remove_pathway_nulls         merge_patwhay_ids                                                            species           kegg_pathway_release




Workflow Outputs
                         flatten_pathway_files                                           remove_pathway_nulls_2          merge_kegg_references           merge_reports      getcurrentdatabase             binfo

                                                                                                                                                                                                                                	
  
  gene_descriptions      genes_pathways          merged_pathways          pathway_descriptions        pathway_ids     kegg_external_gene_reference          report       ensembl_database_release   kegg_pathway_release




                                                                                                                          http://www.mygrid.org.uk/	
                                                                                         http://www.taverna.org.uk/	
  
What	
  types	
  of	
  services	
  and	
  data?	
  
    WSDL/SOAP	
  web	
  services	
  
       Secured	
  invoca"on	
  with	
  HTTPS/SSL/WS-­‐Security	
  
    RESTful	
  web	
  services	
  
       Secured	
  invoca"on	
  with	
  HTTPS/Basic	
  Auth	
  
    Spreadsheet	
  import	
  
    Command	
  line	
  tools	
  (local,	
  SSH)	
  
    Inline	
  scripts	
  (Beanshell,	
  R)	
  
    Excel/CSV	
  spreadsheets	
  
    Java	
  APIs	
  
    Customiza"ons:	
  
         BioMart,	
  BioMoby	
  /	
  SADI	
  
         Soaplab	
  
         Grid	
  services	
  (EGEE	
  gLite,	
  caGrid,	
  PBS,	
  UNICORE)	
  
         …	
  your	
  tool	
  (Plugin	
  tutorial	
  in	
  wiki)	
  



                         http://www.mygrid.org.uk/	
                          http://www.taverna.org.uk/	
  
Service	
  limita"ons	
  
  Web	
  service	
  crea"on	
  involves	
  wrapping	
  
   exis"ng	
  tools	
  or	
  wri"ng	
  WS	
  code	
  
  Web	
  services	
  can	
  go	
  down	
  
       	
  can	
  use	
  redundant	
  services	
  in	
  workflow	
  
       	
  Service	
  monitoring	
  
    Transferring	
  data	
  up/down	
  to	
  WS	
  slow	
  
       	
  Support	
  references	
  in	
  WS	
  interface	
  
    Execu"ng	
  command	
  line	
  tools	
  directly	
  requires	
  
     execu"on	
  access	
  
       Trickier	
  to	
  share	
  workflows,	
  require	
  either	
  SSH/grid	
  
        creden)als	
  or	
  installing	
  tools	
  locally	
  

                    http://www.mygrid.org.uk/	
              http://www.taverna.org.uk/	
  
Which	
  services?	
  
  Taverna	
  is	
  general,	
  can	
  connect	
  to	
  standard	
  
   web	
  services	
  and	
  command	
  line	
  tools	
  for	
  any	
  
   domain	
  
  in	
  bioinforma"cs..	
  
       From	
  professional	
  third-­‐party	
  organisa"ons	
  
        providing	
  robust	
  &	
  open	
  data/analysis	
  services	
  
       ..to	
  under-­‐the-­‐desk	
  web	
  services	
  for	
  one	
  par"cular	
  
        purpose,	
  ran	
  by	
  PhD	
  students	
  

       	
  hhp://biocatalogue.org/	
  -­‐	
  2000+	
  services	
  from	
  
        140+	
  providers	
  –	
  crowd	
  sourced	
  and	
  quality	
  
        monitored	
  


                    http://www.mygrid.org.uk/	
              http://www.taverna.org.uk/	
  
http://www.mygrid.org.uk/	
     http://www.taverna.org.uk/	
  
BioCatalogue	
  integra"on	
  
    Search	
  services	
  from	
  
     workbench	
  
    Add	
  services	
  to	
  workflow	
  
    View	
  service	
  descrip)ons	
  
     and	
  up)me	
  status	
  from	
  
     within	
  workflow	
  




                  http://www.mygrid.org.uk/	
     http://www.taverna.org.uk/	
  
Taverna	
  	
  
 workbench	
  
    Graphical	
  desktop	
  tool	
  	
  
    No	
  server	
  installa"on	
  
     required	
  
    Drag-­‐and-­‐drop	
  services	
  
     into	
  diagram	
  
    Connect	
  services,	
  run,	
  
     reconnect,	
  rerun	
  
    Integrates	
  diverse	
  set	
  
     of	
  tools	
  


                       http://www.mygrid.org.uk/	
     http://www.taverna.org.uk/	
  
http://www.mygrid.org.uk/	
     http://www.taverna.org.uk/	
  
http://www.mygrid.org.uk/	
     http://www.taverna.org.uk/	
  
http://www.mygrid.org.uk/	
     http://www.taverna.org.uk/	
  
Sharing	
  workflows	
  
  myExperiment.org	
  allows	
  users	
  to	
  share,	
  
   find,	
  download	
  and	
  rate	
  workflows	
  
  “Facebook	
  for	
  the	
  scien"st”	
  
  4000+	
  members,	
  1400+	
  workflows	
  
  Open	
  source	
  code,	
  can	
  set	
  up	
  own	
  instance	
  




                http://www.mygrid.org.uk/	
      http://www.taverna.org.uk/	
  
myExperiment	
  integra"on	
  
  Search	
  and	
  browse	
  
   workflows	
  
     By	
  tags	
  
     Free	
  text	
  search	
  
     Own/group	
  workflows	
  
     Packs,	
  e.g.	
  “Examples”	
  
  Upload/share	
  workflows	
  




                   http://www.mygrid.org.uk/	
     http://www.taverna.org.uk/	
  
Taverna	
  workflow	
  features	
  
    Nested	
  workflows	
  
       Reuse	
  exis"ng	
  components	
  
    Implicit	
  itera"ons	
  
       With	
  customizable	
  list	
  handling	
  
    Pipelining	
  
       Process	
  par"al	
  itera"on	
  results	
  early	
  
    Parallelisa"on	
  
       Run	
  as	
  soon	
  as	
  data	
  is	
  available	
  
    Retries,	
  failover,	
  looping	
  
       For	
  stability	
  and	
  condi"onal	
  tes"ng	
  
    Plugin-­‐extensible	
  execu"on	
  control	
  
       Ideas:	
  caching,	
  error	
  detec"on,	
  dynamic	
  service	
  lookup	
  



                       http://www.mygrid.org.uk/	
               http://www.taverna.org.uk/	
  
Extensible	
  UI	
  and	
  engine	
  
  Plugins	
  can	
  provide	
  new	
  “perspec"ves”	
  
     e.g.:	
  BioCatalogue,	
  myExperiment	
  
  Provide	
  service-­‐specific	
  customiza"on	
  
     e.g.:	
  BioMart	
  interface	
  replicates	
  web	
  site	
  
  Adding	
  new	
  func"onality	
  
     New	
  service	
  types,	
  eg:	
  …	
  
     Execu"on	
  control	
  like	
  looping/branching	
  
     Design	
  helpers,	
  “Find	
  matching	
  service”	
  



                  http://www.mygrid.org.uk/	
         http://www.taverna.org.uk/	
  
Workflow	
  limita"ons	
  
  Ini"ally	
  designed	
  for	
  dataflows	
  
     Not	
  suitable	
  for	
  business	
  processes	
  like	
  “HR	
  
      procedure	
  for	
  hiring	
  new	
  staff”	
  
           Long-­‐running	
  workflows	
  require	
  Taverna	
  Server	
  
     ..	
  But	
  suitable	
  for	
  coordina)ng	
  command	
  line	
  
      and	
  grid	
  execu"ons,	
  the	
  data	
  might	
  just	
  be	
  job	
  
      references	
  
     Execu"on	
  control	
  extensible,	
  eg:	
  
           Looping,	
  Branching	
  
           Dynamic	
  service	
  lookup	
  
           Data	
  manipula"on,	
  Error	
  detec"on	
  




                  http://www.mygrid.org.uk/	
              http://www.taverna.org.uk/	
  
Data	
  and	
  provenance	
  handling	
  
    Data	
  references	
  passed	
  between	
  services	
  in	
  workflow	
  
       http,	
  file,	
  sftp,	
  gridftp,	
  etc	
  (extensible)	
  
    Data	
  downloaded/uploaded	
  or	
  references	
  translated	
  
     when	
  needed	
  
    Provenance	
  captured	
  for	
  workflow	
  runs	
  
       Trace	
  execu"on	
  steps,	
  view	
  intermediate	
  values	
  while	
  running	
  
       Export	
  as	
  Open	
  Provenance	
  Model	
  (OPM)	
  /	
  RDF	
  
       Proof	
  and	
  origin	
  of	
  produced	
  outputs	
  
       Extensible	
  annota)ons	
  
    Wf4Ever:	
  reproducible	
  research	
  objects	
  
       Workflow/data	
  as	
  a	
  scien"fic	
  publica"on	
  	
  preserva"on	
  
       Need	
  to	
  capture	
  more	
  service	
  data	
  and	
  metadata	
  


                      http://www.mygrid.org.uk/	
                    http://www.taverna.org.uk/	
  
Data	
  limita"ons	
  
  Running	
  Workbench	
  limited	
  by:	
  
     Local	
  disk	
  space	
  for	
  storing	
  data	
  
     Network	
  speeds	
  for	
  up/download	
  
     Firewall	
  access	
  
     	
  Execute	
  wf	
  using	
  Taverna	
  Server	
  or	
  
      command	
  line	
  remotely	
  with	
  ssh/job	
  submission	
  
  No	
  standardized	
  WS	
  reference	
  mechanism	
  
     Agree	
  on	
  mechanism	
  within	
  WS	
  ‘family’	
  with	
  
      shared	
  disk	
  (eg.	
  deconstruct	
  local	
  path	
  from	
  
      HTTP	
  URI)	
  

                  http://www.mygrid.org.uk/	
                http://www.taverna.org.uk/	
  
Parameter	
  sweeps	
  
  Implicit	
  itera)ons	
  with	
  pipelining	
  provides	
  
   an	
  intui"ve	
  way	
  to	
  set	
  up	
  parameter	
  
   sweeps	
  
  Advanced	
  looping	
  and	
  extensible	
  execu)on	
  
   control	
  allows	
  itera"ve	
  &	
  recursive	
  
   reduc"ons/approxima"ons	
  




              http://www.mygrid.org.uk/	
     http://www.taverna.org.uk/	
  
Taverna	
  command	
  line	
  
    Executes	
  from	
  a	
  
     Windows/Linux/OSX	
  
     shells	
  
    Takes	
  a	
  predefined	
  
     workflow	
  with	
  files	
  as	
  
     inputs	
  and	
  outputs	
  
    Quick	
  way	
  to	
  
     “produc"onize”	
  a	
  
     workflow	
  



                   http://www.mygrid.org.uk/	
     http://www.taverna.org.uk/	
  
Taverna	
  Server	
  
  REST/SOAP	
  interface	
  to	
  	
  
   execute	
  workflows	
  
  Client	
  libraries	
  for	
  Ruby	
  and	
  Java	
  
  Two	
  demonstra"on	
  web	
  interfaces	
  
     Ruby	
  
     Java	
  Portlets	
  
  Upcoming:	
  
     Security	
  delega"on	
  
     AWS	
  image	
  


                 http://www.mygrid.org.uk/	
     http://www.taverna.org.uk/	
  
Taverna	
  portlet	
  
    Example	
  portlet	
  
     interface	
  
    Executes	
  workflows	
  
     using	
  Taverna	
  Server	
  




                  http://www.mygrid.org.uk/	
     http://www.taverna.org.uk/	
  
http://www.mygrid.org.uk/	
     http://www.taverna.org.uk/	
  
Ruby	
  web	
  interface	
  
    Example	
  customized	
                    Uses	
  Ruby	
  gem	
  
     web	
  interface	
                          t2-­‐server	
  




                http://www.mygrid.org.uk/	
                http://www.taverna.org.uk/	
  
Grids	
  and	
  clusters	
  
  Taverna	
  have	
  been	
  integrated	
  with	
  several	
  
   leading	
  grid	
  and	
  middleware	
  
   infrastructures,	
  such	
  as:	
  
     PBS	
  
     caGrid/Globus	
  
     EGEE/gLite	
  
     NorduGrid’s	
  ARC	
  
     JSDL/GridSAM	
  
  Plans	
  for	
  SAGA	
  integra"on	
  

                http://www.mygrid.org.uk/	
     http://www.taverna.org.uk/	
  
Taverna	
  on	
  the	
  cloud	
  
  Use-­‐case:	
  
     SNP	
  analysis	
  and	
  annota"on	
  of	
  
       genome	
  sequenced	
  from	
  
       breeds	
  of	
  cows	
  in	
  Africa	
  –	
  why	
  are	
  	
  
       some	
  of	
  them	
  resistent	
  to	
  X?	
  
      Amazon	
  EC2	
  with	
  Taverna	
  Server	
  and	
  local	
  
       services	
  
      Ruby	
  on	
  Rails	
  web	
  interface	
  
      Runs	
  through	
  31	
  chromosomes	
  in	
  2	
  hours	
  using	
  
       10	
  instances	
  -­‐	
  $10	
  


                 http://www.mygrid.org.uk/	
          http://www.taverna.org.uk/	
  
http://www.mygrid.org.uk/	
     http://www.taverna.org.uk/	
  
Taverna	
  3	
  roadmap	
  
  OSGi	
  plugin	
  system	
  
  Workflow	
  language:	
  Scufl2	
  
     Compound	
  format;	
  embedding	
  metadata,	
  
      dependencies,	
  independent	
  API	
  for	
  crea"ng/
      inspec"ng	
  workflows	
  
  Components	
  
     Finding/sharing	
  command	
  line	
  tool	
  descrip"ons	
  
     Richer	
  way	
  of	
  finding	
  compa"ble	
  services	
  



                http://www.mygrid.org.uk/	
        http://www.taverna.org.uk/	
  
Open	
  source,	
  open	
  development	
  
  Taverna	
  suite	
  of	
  tools	
  are	
  all	
  open	
  source,	
  
   free	
  to	
  use	
  and	
  customize	
  
  Large	
  user	
  community,	
  ac"ve	
  mailing	
  lists	
  
  Lead	
  developers:	
  myGrid	
  in	
  Manchester	
  UK	
  
  Contributors	
  from	
  across	
  the	
  world	
  
  PAL	
  programme	
  
  myGrid	
  provides	
  training,	
  tutorials	
  and	
  
   documenta)on	
  

                 http://www.mygrid.org.uk/	
        http://www.taverna.org.uk/	
  
Who	
  uses	
  Taverna?	
  
  Bioinforma"cs:	
  EMBL-­‐EBI,	
  ONDEX	
  
  Astronomy:	
  HELIO,	
  AstroGrid,	
  SAMPO	
  
  Engineering:	
  NASA	
  Jet	
  Propulsion	
  Lab	
  (JPL)	
  
  Chemistry:	
  CDK,	
  CIC	
  
  Biodiversity:	
  BioVel	
  
  Preserva"on:	
  Wf4Ever,	
  SCAPE	
  
  BioMedicine/Cancer	
  research:	
  caGrid	
  
  Data/text	
  mining:	
  eLico,	
  AID	
  

               http://www.mygrid.org.uk/	
     http://www.taverna.org.uk/	
  
Taverna	
  in	
  numbers	
  
                                                        myExperiment:	
  	
  
                                                           4000+	
  registered	
  users	
  
                                                           56	
  countries	
  
    Taverna:	
  
                                                           1400+	
  workflows	
  
       361	
  organisa"ons	
  
                                                            	
  
       48	
  countries	
  
                                                        BioCatalogue:	
  	
  
       70,000+	
  downloads	
  
                                                           2000+	
  services	
  
             ~4000	
  source	
  
                                                           150+	
  service	
  providers	
  
                                                           500+	
  members	
  
                                                           27	
  countries	
  


                    http://www.mygrid.org.uk/	
                    http://www.taverna.org.uk/	
  
Acknowledgements	
  




http://www.mygrid.org.uk/	
     http://www.taverna.org.uk/	
  
http://www.mygrid.org.uk/	
     http://www.taverna.org.uk/	
  
More	
  informa"on	
  
  hhp://www.mygrid.org.uk/	
  


  hhp://www.taverna.org.uk/	
  


  hhp://www.myexperiment.org/	
  


  hhp://www.biocatalogue.org/	
  
	
  

           http://www.mygrid.org.uk/	
     http://www.taverna.org.uk/	
  

2011-06-08 Taverna workflow system

  • 1.
    http://taverna.org.uk/   S"an  Soiland-­‐Reyes  &  Robert  Haines   myGrid,  School  of  Computer  Science   University  of  Manchester,  UK   ITER  IM  workshop   Château  de  Cadarache,  2011-­‐06-­‐08  
  • 2.
    What  is  myGrid?     An  e-­‐Science  Collabora"on  Since  2001     Not  a  grid!     Numerous  partners  involved:     University  of  Manchester     University  of  Southampton     University  of  Oxford     EMBL-­‐EBI     Provides  sustainable  and  produc"on  quality  soTware     Supported  by  OMII-­‐UK,  EPSRC  and  BBSRC     Mixture  of  developers,  bioinforma"cians  and   researchers   SoTware  |  Services  |  Content  |  Skills  |  Community   http://www.mygrid.org.uk/   http://www.taverna.org.uk/  
  • 3.
    Mo"va"on:   Bioinforma)cs     Challenge:     Large  amounts  of  data     Many  open  ques"ons     Numerous  freely   available  public   datasets  and  analysis   tools   http://www.mygrid.org.uk/   http://www.taverna.org.uk/  
  • 4.
    Huge  amounts  of  data   Microarray   1000+  Genes   QTL  regions   100+  Genes   How  do  I  look   Next  Gen   at  all  the  genes   systema)cally?   Sequencing   100,000+   Genes   http://www.mygrid.org.uk/   http://www.taverna.org.uk/  
  • 5.
    Manual  approach     Search  using  public  web  sites  and  databases     Pubmed     Uniprot     EBI  BioMart     Copy  and  paste  to  web  tools  for  analysis     NCBI  Blast     EBI  InterPro     Further  processing  locally     R     Perl     Python   http://www.mygrid.org.uk/   http://www.taverna.org.uk/  
  • 6.
    Manual:  disadvantages   •  Scale  of  analysis  task  overwhelms  researchers   –  lots  of  data   •  User  bias  and  premature  filtering  of  datasets  –   cherry  picking   •  Hypothesis-­‐Driven  approach  to  data  analysis   •  Constant  changes  in  data  -­‐  problems  with  re-­‐ analysis  of  data   •  Implicit  methodologies  (hyper-­‐linking  through   web  pages)   •  Error  prolifera)on  from  any  of  the  listed  issues   –  notably  human  error   http://www.mygrid.org.uk/   http://www.taverna.org.uk/  
  • 7.
    Web  services  and  workflows     Web  services     Technology  and  standards  for  exposing  code  and   data  resources  that  can  be  programma)cally   consumed  by  a  remote  third  party     Descrip"on  on  how  to  interact  with  the  service,   parameters,  documenta"on     Workflows     General  technique  for  describing  and  execu"ng   a  process     Describe  what  you  want  to  do  running  which   services   http://www.mygrid.org.uk/   http://www.taverna.org.uk/  
  • 8.
    The Taverna OpenSource Suite of Tools Web Portals Workflow Repository GUI Workbench Client User Interfaces Virtual Machine Third Party Tools Service Catalogue Workflow Engine Provenance Workflow Store Server Activity and Service Plug-in Manager Open Provenance Model Programming and Secure Service Access APIs
  • 9.
    Taverna  workflows   Workflow Inputs start_position chromosome_name end_position genes_in_qtl A  set  of  (local  and  remote)   mmusculus_gene_ensembl remove_entrez_duplicates remove_uniprot_duplicates create_report   services  to  analyze  or  manage   merge_entrez_genes merge_uniprot_ids remove_Nulls REMOVE_NULLS_2 data   add_ncbi_to_string add_uniprot_to_string Kegg_gene_ids_2 Kegg_gene_ids concat_kegg_genes   Nested  workflows  are  also   split_gene_ids regex_2 split_for_duplicates Get_pathways remove_duplicate_kegg_genes Workflow Inputs services   Data-­‐links  connects  services   regex gene_ids split_by_regex lister   get_pathways_by_genes1   i.e.  output  from  service  A  is  input  to   service  B  and  C   Merge_pathways concat_ids   Describes  the  desired  dataflow   concat_gene_pathway_ids Merge_gene_pathways instead  of  process  coordina"on   Workflow Outputs pathway_genes pathway_ids merge_pathway_list_1 merge_pathway_list_2 split_for_duplicate_pathways   Automa"c  itera"ons   Can  customize  list  handling  and   remove_duplicate_ids pathway_descriptions   control  links   gene_descriptions merge_genes_and_pathways remove_pathway_duplicates merge_gene_desc merge_genes_and_pathways_2 merge_pathway_desc remove_nulls_3 merge_genes_and_pathways_3 remove_pathway_nulls merge_patwhay_ids species kegg_pathway_release Workflow Outputs flatten_pathway_files remove_pathway_nulls_2 merge_kegg_references merge_reports getcurrentdatabase binfo   gene_descriptions genes_pathways merged_pathways pathway_descriptions pathway_ids kegg_external_gene_reference report ensembl_database_release kegg_pathway_release http://www.mygrid.org.uk/   http://www.taverna.org.uk/  
  • 10.
    What  types  of  services  and  data?     WSDL/SOAP  web  services     Secured  invoca"on  with  HTTPS/SSL/WS-­‐Security     RESTful  web  services     Secured  invoca"on  with  HTTPS/Basic  Auth     Spreadsheet  import     Command  line  tools  (local,  SSH)     Inline  scripts  (Beanshell,  R)     Excel/CSV  spreadsheets     Java  APIs     Customiza"ons:     BioMart,  BioMoby  /  SADI     Soaplab     Grid  services  (EGEE  gLite,  caGrid,  PBS,  UNICORE)     …  your  tool  (Plugin  tutorial  in  wiki)   http://www.mygrid.org.uk/   http://www.taverna.org.uk/  
  • 11.
    Service  limita"ons    Web  service  crea"on  involves  wrapping   exis"ng  tools  or  wri"ng  WS  code     Web  services  can  go  down       can  use  redundant  services  in  workflow       Service  monitoring     Transferring  data  up/down  to  WS  slow       Support  references  in  WS  interface     Execu"ng  command  line  tools  directly  requires   execu"on  access     Trickier  to  share  workflows,  require  either  SSH/grid   creden)als  or  installing  tools  locally   http://www.mygrid.org.uk/   http://www.taverna.org.uk/  
  • 12.
    Which  services?    Taverna  is  general,  can  connect  to  standard   web  services  and  command  line  tools  for  any   domain     in  bioinforma"cs..     From  professional  third-­‐party  organisa"ons   providing  robust  &  open  data/analysis  services     ..to  under-­‐the-­‐desk  web  services  for  one  par"cular   purpose,  ran  by  PhD  students       hhp://biocatalogue.org/  -­‐  2000+  services  from   140+  providers  –  crowd  sourced  and  quality   monitored   http://www.mygrid.org.uk/   http://www.taverna.org.uk/  
  • 13.
    http://www.mygrid.org.uk/   http://www.taverna.org.uk/  
  • 14.
    BioCatalogue  integra"on     Search  services  from   workbench     Add  services  to  workflow     View  service  descrip)ons   and  up)me  status  from   within  workflow   http://www.mygrid.org.uk/   http://www.taverna.org.uk/  
  • 15.
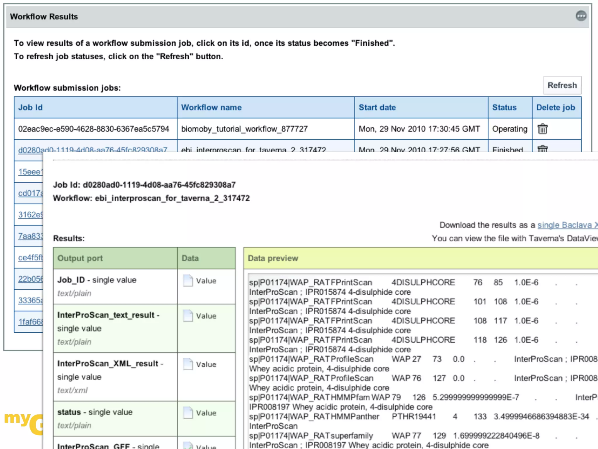
    Taverna     workbench     Graphical  desktop  tool       No  server  installa"on   required     Drag-­‐and-­‐drop  services   into  diagram     Connect  services,  run,   reconnect,  rerun     Integrates  diverse  set   of  tools   http://www.mygrid.org.uk/   http://www.taverna.org.uk/  
  • 16.
    http://www.mygrid.org.uk/   http://www.taverna.org.uk/  
  • 17.
    http://www.mygrid.org.uk/   http://www.taverna.org.uk/  
  • 18.
    http://www.mygrid.org.uk/   http://www.taverna.org.uk/  
  • 19.
    Sharing  workflows    myExperiment.org  allows  users  to  share,   find,  download  and  rate  workflows     “Facebook  for  the  scien"st”     4000+  members,  1400+  workflows     Open  source  code,  can  set  up  own  instance   http://www.mygrid.org.uk/   http://www.taverna.org.uk/  
  • 20.
    myExperiment  integra"on    Search  and  browse   workflows     By  tags     Free  text  search     Own/group  workflows     Packs,  e.g.  “Examples”     Upload/share  workflows   http://www.mygrid.org.uk/   http://www.taverna.org.uk/  
  • 21.
    Taverna  workflow  features     Nested  workflows     Reuse  exis"ng  components     Implicit  itera"ons     With  customizable  list  handling     Pipelining     Process  par"al  itera"on  results  early     Parallelisa"on     Run  as  soon  as  data  is  available     Retries,  failover,  looping     For  stability  and  condi"onal  tes"ng     Plugin-­‐extensible  execu"on  control     Ideas:  caching,  error  detec"on,  dynamic  service  lookup   http://www.mygrid.org.uk/   http://www.taverna.org.uk/  
  • 22.
    Extensible  UI  and  engine     Plugins  can  provide  new  “perspec"ves”     e.g.:  BioCatalogue,  myExperiment     Provide  service-­‐specific  customiza"on     e.g.:  BioMart  interface  replicates  web  site     Adding  new  func"onality     New  service  types,  eg:  …     Execu"on  control  like  looping/branching     Design  helpers,  “Find  matching  service”   http://www.mygrid.org.uk/   http://www.taverna.org.uk/  
  • 23.
    Workflow  limita"ons    Ini"ally  designed  for  dataflows     Not  suitable  for  business  processes  like  “HR   procedure  for  hiring  new  staff”     Long-­‐running  workflows  require  Taverna  Server     ..  But  suitable  for  coordina)ng  command  line   and  grid  execu"ons,  the  data  might  just  be  job   references     Execu"on  control  extensible,  eg:     Looping,  Branching     Dynamic  service  lookup     Data  manipula"on,  Error  detec"on   http://www.mygrid.org.uk/   http://www.taverna.org.uk/  
  • 24.
    Data  and  provenance  handling     Data  references  passed  between  services  in  workflow     http,  file,  sftp,  gridftp,  etc  (extensible)     Data  downloaded/uploaded  or  references  translated   when  needed     Provenance  captured  for  workflow  runs     Trace  execu"on  steps,  view  intermediate  values  while  running     Export  as  Open  Provenance  Model  (OPM)  /  RDF     Proof  and  origin  of  produced  outputs     Extensible  annota)ons     Wf4Ever:  reproducible  research  objects     Workflow/data  as  a  scien"fic  publica"on    preserva"on     Need  to  capture  more  service  data  and  metadata   http://www.mygrid.org.uk/   http://www.taverna.org.uk/  
  • 25.
    Data  limita"ons    Running  Workbench  limited  by:     Local  disk  space  for  storing  data     Network  speeds  for  up/download     Firewall  access       Execute  wf  using  Taverna  Server  or   command  line  remotely  with  ssh/job  submission     No  standardized  WS  reference  mechanism     Agree  on  mechanism  within  WS  ‘family’  with   shared  disk  (eg.  deconstruct  local  path  from   HTTP  URI)   http://www.mygrid.org.uk/   http://www.taverna.org.uk/  
  • 26.
    Parameter  sweeps    Implicit  itera)ons  with  pipelining  provides   an  intui"ve  way  to  set  up  parameter   sweeps     Advanced  looping  and  extensible  execu)on   control  allows  itera"ve  &  recursive   reduc"ons/approxima"ons   http://www.mygrid.org.uk/   http://www.taverna.org.uk/  
  • 27.
    Taverna  command  line     Executes  from  a   Windows/Linux/OSX   shells     Takes  a  predefined   workflow  with  files  as   inputs  and  outputs     Quick  way  to   “produc"onize”  a   workflow   http://www.mygrid.org.uk/   http://www.taverna.org.uk/  
  • 28.
    Taverna  Server    REST/SOAP  interface  to     execute  workflows     Client  libraries  for  Ruby  and  Java     Two  demonstra"on  web  interfaces     Ruby     Java  Portlets     Upcoming:     Security  delega"on     AWS  image   http://www.mygrid.org.uk/   http://www.taverna.org.uk/  
  • 29.
    Taverna  portlet     Example  portlet   interface     Executes  workflows   using  Taverna  Server   http://www.mygrid.org.uk/   http://www.taverna.org.uk/  
  • 30.
    http://www.mygrid.org.uk/   http://www.taverna.org.uk/  
  • 31.
    Ruby  web  interface     Example  customized     Uses  Ruby  gem   web  interface   t2-­‐server   http://www.mygrid.org.uk/   http://www.taverna.org.uk/  
  • 32.
    Grids  and  clusters     Taverna  have  been  integrated  with  several   leading  grid  and  middleware   infrastructures,  such  as:     PBS     caGrid/Globus     EGEE/gLite     NorduGrid’s  ARC     JSDL/GridSAM     Plans  for  SAGA  integra"on   http://www.mygrid.org.uk/   http://www.taverna.org.uk/  
  • 33.
    Taverna  on  the  cloud     Use-­‐case:     SNP  analysis  and  annota"on  of   genome  sequenced  from   breeds  of  cows  in  Africa  –  why  are     some  of  them  resistent  to  X?     Amazon  EC2  with  Taverna  Server  and  local   services     Ruby  on  Rails  web  interface     Runs  through  31  chromosomes  in  2  hours  using   10  instances  -­‐  $10   http://www.mygrid.org.uk/   http://www.taverna.org.uk/  
  • 34.
    http://www.mygrid.org.uk/   http://www.taverna.org.uk/  
  • 35.
    Taverna  3  roadmap     OSGi  plugin  system     Workflow  language:  Scufl2     Compound  format;  embedding  metadata,   dependencies,  independent  API  for  crea"ng/ inspec"ng  workflows     Components     Finding/sharing  command  line  tool  descrip"ons     Richer  way  of  finding  compa"ble  services   http://www.mygrid.org.uk/   http://www.taverna.org.uk/  
  • 36.
    Open  source,  open  development     Taverna  suite  of  tools  are  all  open  source,   free  to  use  and  customize     Large  user  community,  ac"ve  mailing  lists     Lead  developers:  myGrid  in  Manchester  UK     Contributors  from  across  the  world     PAL  programme     myGrid  provides  training,  tutorials  and   documenta)on   http://www.mygrid.org.uk/   http://www.taverna.org.uk/  
  • 37.
    Who  uses  Taverna?     Bioinforma"cs:  EMBL-­‐EBI,  ONDEX     Astronomy:  HELIO,  AstroGrid,  SAMPO     Engineering:  NASA  Jet  Propulsion  Lab  (JPL)     Chemistry:  CDK,  CIC     Biodiversity:  BioVel     Preserva"on:  Wf4Ever,  SCAPE     BioMedicine/Cancer  research:  caGrid     Data/text  mining:  eLico,  AID   http://www.mygrid.org.uk/   http://www.taverna.org.uk/  
  • 38.
    Taverna  in  numbers     myExperiment:       4000+  registered  users     56  countries     Taverna:     1400+  workflows     361  organisa"ons       48  countries     BioCatalogue:       70,000+  downloads     2000+  services     ~4000  source     150+  service  providers     500+  members     27  countries   http://www.mygrid.org.uk/   http://www.taverna.org.uk/  
  • 39.
  • 40.
    http://www.mygrid.org.uk/   http://www.taverna.org.uk/  
  • 41.
    More  informa"on    hhp://www.mygrid.org.uk/     hhp://www.taverna.org.uk/     hhp://www.myexperiment.org/     hhp://www.biocatalogue.org/     http://www.mygrid.org.uk/   http://www.taverna.org.uk/