+/-137 Acres 
3470 Wilshire Blvd., Suite 1020, Los Angeles, CA 90010 I Tel: 213-365-005 Fax: 213-365-0405 I www.gidllco.com 
CONFIDENTIAL OFFERING MEMORANDUM 
SNOW ROAD: : BAKERSFIELD, CA 
A Land Development Company 
COFFEE RD 
ETCHART RD 
Subject Site 
+/-137 Acres 
SNOW RD 
68 Lots 
Under construction for finished lots 
QUAIL CREEK ROAD 
TRACT 6419 
111 Lots (Woodside Homes – 10,000 SF) 
106 Lots (Lennar Homes – 6.000SF) 
7TH STANDARD RD 
TRACT 7235 
Kern Land Partners LLC 
254 Lots 
TRACT 6766 
321 Lots 
TRACT 6858 
86 Lots 
TRACT 6861 
78 Lots 
ETCHEVERRY PROPERTIES 
ETCHEVERRY PROPERTIES 
ETCHEVERRY PROPERTIES 
BIDART BROS. PROPERTIES 
BIDART BROS. PROPERTIES
DISCLAIMER 
+/-137 Acres 
This Confidential Offering Memorandum (the “Memorandum”) has been prepared by Global Investment & Development, LLC (the “Company”) for distribution to a limited number of parties and does not necessarily purport to be all-inclusive or to contain all of the information that prospective investors may need or desire, nor does it purport to provide an accurate summary of the Company or any of the documents related thereto. No representation is made by Global as to the accuracy or completeness of the information contained herein, and nothing contained herein is, or shall be relied on, as a promise or representation as to the future performance of the Program. Although the information contained herein is believed to be correct, Global and their employees disclaim any and all liability for representations and warranties, expressed and implied, contained in, or for omissions from, the Memorandum or any other written or oral communication transmitted or made available to the recipient. 
The Memorandum does not constitute a representation that there has not been a change in the business or affairs of the Company since the date of preparation of the Memorandum. Analysis and verification of the information contained in the Memorandum is solely the responsibility of the prospective investor. 
The Company expressly reserves the right, at its sole discretion, to reject any or all expressions of interest or offers regarding an investment in the Program and /or terminate discussions with any entity at any time with or without notice or without any liability. 
THIS CONFIDENTIAL OFFERING MEMORANDUM AND THE CONTENTS, EXCEPT SUCH INFORMATION WHICH IS A MATTER OF PUBLIC RECORD OR IS PROVIDED IN SOURCES AVAILABLE TO THE PUBLIC, ARE OF A CONFIDENTIAL NATURE. 
BY ACCEPTING THE CONFIDENTIAL OFFERING MEMORANDUM, YOU AGREE THAT YOU WILL HOLD AND TREAT IT IN THE STRICTEST CONFIDENCE, THAT YOU WILL NOT PHOTOCOPY OR DUPLICATE IT, THAT YOU WILL NOT DISCLOSE THE MEMORANDUM OR ANY OF THE CONTENTS TO ANY OTHER ENTITY, EXCEPT THAT THE INFORMATION MAY BE DISCLOSED TO YOUR LEGAL AND FINANCIAL CONSULTANTS WHO AGREE TO KEEP SUCH INFORMATION CONFIDENTIAL AND WHO NEED TO KNOW THE INFORMATION FOR PURPOSES OF EVALUATION OF THE PROGRAM, WITHOUT THE PRIOR WRITTEN AUTHORIZATION OF THE COMPANY, AND THAT YOU WILL NOT USE THE MEMORANDUM OR ANY OF THE CONTENTS IN ANY FASHION OR MANNER DETRIMENTAL TO THE INTEREST OF THE COMPANY. YOU HEREBY AGREE TO RETURN THE MEMORANDUM TO GLOBAL UPON WRITTEN REQUEST BY GLOBAL. 
If you have any question, please contact: 
Aaron Rivani, Principal 
Mobile: 213-200-2890 
Email: arivani@gidllco.com 
2 
All Matters contained herein are confidential.
EXECUTIVE SUMMARY 
+/-137 Acres 
3 
PROJECT DESCRIPTION 
The property is generally located north of Snow Road and east of Coffee Road in Northwest Bakersfield, County of Kern in California. The property comprised of 5 assessor parcel numbers totaling +/- 137 Acres. Seller is in currently processing tentative tract maps for approximately 468 single family lots and a dedication for a park and a drill site. 
All Matters contained herein are confidential. 
Assessor Parcel Number: 
492-080-24 18.81 Ac 
492-080-27 23.57 Ac 
492-080-28 13.87 Ac 
492-080-29 75.20 Ac 
492-080-41 10.14 Ac 
Total Gross Acreage per APN Map: 141.59 
Total Acreage per Seller: +/-137 Acres 
Property Condition: 
The subject site is currently in an unimproved condition but Seller is processing tentative tract maps. 
Subject Property 
492-060-11 
79.26 Ac 
492-090-01 
19.30 Ac 
492-090-24 
18.67 Ac 
530-010-36 62.22 Ac 
7th Standard Rd 
Snow Rd 
Subject Site 
+/-137 Acres
EXECUTIVE SUMMARY 
+/-137 Acres 
All Matters contained herein are confidential. 
Subject Property 
492-060-11 
79.26 Ac 
492-090-01 
19.30 Ac 
492-090-24 
18.67 Ac 
530-010-36 62.22 Ac 
Subject Site 
137 Acres 
Snow Rd 
4 
ASSESOR PARCEL MAP 
Not a part of the Acquisition, Seller currently processing Lot Line Adjustments to exclude these portions.
+/-137 Acres 
5 
PROPOSED ENTITLEMENT 
All Matters contained herein are confidential. 
EXECUTIVE SUMMARY 
QUAIL CREEEK ROAD 
ETCHART RD 
TTM 7264 
10,000 SF LOTS 
Phase 1 
29 
Phase 2 
40 
Phase 3 
27 
Total 96 lots 
COFFEE ROAD 
SNOW ROAD 
TTM 6968 
6,000 SF LOTS 
Phase 1 
82 
Phase 2 
84 
Phase 3 
42 
Phase 4 
84 
Phase 5 
80 
Total 372 lots 
GRANDY ST 
PG&E Easement
+/-137 Acres 
6 
AERIAL MAP – CLOSE UP 
EXECUTIVE SUMMARY 
All Matters contained herein are confidential. 
ETCHART RD 
QUAIL CREEEK ROAD 
COFFEE ROAD 
SNOW ROAD 
GRANDY ST 
Seller shall be responsible to obtain Vesting Tentative Tract Maps for approximately 468 single family lots and deliver it to Buyer prior to close of escrow. 
Proposed 
Tract 7264 
10,000 SF Lots 
96 Lots 
Proposed 
Tract 6968 
6,000 SF Lots 
372 Lots 
Proposed 
LOT “A” 
PARK 
+/- 12 Acres 
Proposed 
DRILL SITE 
6 Acres
+/-137 Acres 
7 
DEVELOPMENT MAP 
EXECUTIVE SUMMARY 
All Matters contained herein are confidential. 
AS OF 8-6-2014
+/-137 Acres 
8 
INVESTMENT SUMMARY 
EXECUTIVE SUMMARY 
All Matters contained herein are confidential. 
Acquisition Status: 
Global is in escrow to purchase the property. The Acquisition price has been established at $9,500,000 or +/-$20,000 per lot. A cash- flow proforma shall be provided for further evaluation of the property. 
Location & Entitlement: 
The subject property is located in the Northwest quadrant of Bakersfield, the hottest market in the entire City. It is situated in an area with existing (new) and future residential developments. Utilities are immediately available to the site and it is accessible through Snow Road. 
The Seller, at its own cost is currently processing Tentative Tract Maps for approximately 468 single family lots, Lot Line Adjustments plus a park dedication and a drill site. 
Future Plans: 
Immediately following the acquisition of property, Global’s intent is to obtain approval of the improvement plans (water, sewer, drainage, landscaping, street, block walls, etc.) and get the property ready to a recordable stage for the prospective homebuilder/s. Furthermore, Global shall be looking into the improvement of the surrounding arterial streets and the mass grading of the entire site or possible blue-top Phase 3 of Tract 7264 and Phase 5 of Tract 6968 subject to the market condition. 
Additional Remarks: 
Majority of the public and regional homebuilders are currently acquiring paper lots (TTMs) with no improvement plans since there are not much availability of semi-finished nor finished lots in the NW to be acquired by the homebuilders.
+/-137 Acres 
9 
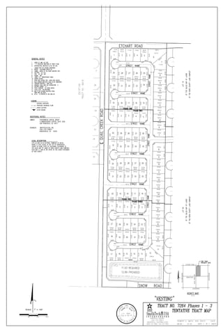
TTM Maps 
EXECUTIVE SUMMARY 
All Matters contained herein are confidential. 
Proposed TTM Maps from Smith Tech
137 acres   offering memorandum 9.04.2014
137 acres   offering memorandum 9.04.2014
137 acres   offering memorandum 9.04.2014

137 acres offering memorandum 9.04.2014

  • 1.
    +/-137 Acres 3470Wilshire Blvd., Suite 1020, Los Angeles, CA 90010 I Tel: 213-365-005 Fax: 213-365-0405 I www.gidllco.com CONFIDENTIAL OFFERING MEMORANDUM SNOW ROAD: : BAKERSFIELD, CA A Land Development Company COFFEE RD ETCHART RD Subject Site +/-137 Acres SNOW RD 68 Lots Under construction for finished lots QUAIL CREEK ROAD TRACT 6419 111 Lots (Woodside Homes – 10,000 SF) 106 Lots (Lennar Homes – 6.000SF) 7TH STANDARD RD TRACT 7235 Kern Land Partners LLC 254 Lots TRACT 6766 321 Lots TRACT 6858 86 Lots TRACT 6861 78 Lots ETCHEVERRY PROPERTIES ETCHEVERRY PROPERTIES ETCHEVERRY PROPERTIES BIDART BROS. PROPERTIES BIDART BROS. PROPERTIES
  • 2.
    DISCLAIMER +/-137 Acres This Confidential Offering Memorandum (the “Memorandum”) has been prepared by Global Investment & Development, LLC (the “Company”) for distribution to a limited number of parties and does not necessarily purport to be all-inclusive or to contain all of the information that prospective investors may need or desire, nor does it purport to provide an accurate summary of the Company or any of the documents related thereto. No representation is made by Global as to the accuracy or completeness of the information contained herein, and nothing contained herein is, or shall be relied on, as a promise or representation as to the future performance of the Program. Although the information contained herein is believed to be correct, Global and their employees disclaim any and all liability for representations and warranties, expressed and implied, contained in, or for omissions from, the Memorandum or any other written or oral communication transmitted or made available to the recipient. The Memorandum does not constitute a representation that there has not been a change in the business or affairs of the Company since the date of preparation of the Memorandum. Analysis and verification of the information contained in the Memorandum is solely the responsibility of the prospective investor. The Company expressly reserves the right, at its sole discretion, to reject any or all expressions of interest or offers regarding an investment in the Program and /or terminate discussions with any entity at any time with or without notice or without any liability. THIS CONFIDENTIAL OFFERING MEMORANDUM AND THE CONTENTS, EXCEPT SUCH INFORMATION WHICH IS A MATTER OF PUBLIC RECORD OR IS PROVIDED IN SOURCES AVAILABLE TO THE PUBLIC, ARE OF A CONFIDENTIAL NATURE. BY ACCEPTING THE CONFIDENTIAL OFFERING MEMORANDUM, YOU AGREE THAT YOU WILL HOLD AND TREAT IT IN THE STRICTEST CONFIDENCE, THAT YOU WILL NOT PHOTOCOPY OR DUPLICATE IT, THAT YOU WILL NOT DISCLOSE THE MEMORANDUM OR ANY OF THE CONTENTS TO ANY OTHER ENTITY, EXCEPT THAT THE INFORMATION MAY BE DISCLOSED TO YOUR LEGAL AND FINANCIAL CONSULTANTS WHO AGREE TO KEEP SUCH INFORMATION CONFIDENTIAL AND WHO NEED TO KNOW THE INFORMATION FOR PURPOSES OF EVALUATION OF THE PROGRAM, WITHOUT THE PRIOR WRITTEN AUTHORIZATION OF THE COMPANY, AND THAT YOU WILL NOT USE THE MEMORANDUM OR ANY OF THE CONTENTS IN ANY FASHION OR MANNER DETRIMENTAL TO THE INTEREST OF THE COMPANY. YOU HEREBY AGREE TO RETURN THE MEMORANDUM TO GLOBAL UPON WRITTEN REQUEST BY GLOBAL. If you have any question, please contact: Aaron Rivani, Principal Mobile: 213-200-2890 Email: arivani@gidllco.com 2 All Matters contained herein are confidential.
  • 3.
    EXECUTIVE SUMMARY +/-137Acres 3 PROJECT DESCRIPTION The property is generally located north of Snow Road and east of Coffee Road in Northwest Bakersfield, County of Kern in California. The property comprised of 5 assessor parcel numbers totaling +/- 137 Acres. Seller is in currently processing tentative tract maps for approximately 468 single family lots and a dedication for a park and a drill site. All Matters contained herein are confidential. Assessor Parcel Number: 492-080-24 18.81 Ac 492-080-27 23.57 Ac 492-080-28 13.87 Ac 492-080-29 75.20 Ac 492-080-41 10.14 Ac Total Gross Acreage per APN Map: 141.59 Total Acreage per Seller: +/-137 Acres Property Condition: The subject site is currently in an unimproved condition but Seller is processing tentative tract maps. Subject Property 492-060-11 79.26 Ac 492-090-01 19.30 Ac 492-090-24 18.67 Ac 530-010-36 62.22 Ac 7th Standard Rd Snow Rd Subject Site +/-137 Acres
  • 4.
    EXECUTIVE SUMMARY +/-137Acres All Matters contained herein are confidential. Subject Property 492-060-11 79.26 Ac 492-090-01 19.30 Ac 492-090-24 18.67 Ac 530-010-36 62.22 Ac Subject Site 137 Acres Snow Rd 4 ASSESOR PARCEL MAP Not a part of the Acquisition, Seller currently processing Lot Line Adjustments to exclude these portions.
  • 5.
    +/-137 Acres 5 PROPOSED ENTITLEMENT All Matters contained herein are confidential. EXECUTIVE SUMMARY QUAIL CREEEK ROAD ETCHART RD TTM 7264 10,000 SF LOTS Phase 1 29 Phase 2 40 Phase 3 27 Total 96 lots COFFEE ROAD SNOW ROAD TTM 6968 6,000 SF LOTS Phase 1 82 Phase 2 84 Phase 3 42 Phase 4 84 Phase 5 80 Total 372 lots GRANDY ST PG&E Easement
  • 6.
    +/-137 Acres 6 AERIAL MAP – CLOSE UP EXECUTIVE SUMMARY All Matters contained herein are confidential. ETCHART RD QUAIL CREEEK ROAD COFFEE ROAD SNOW ROAD GRANDY ST Seller shall be responsible to obtain Vesting Tentative Tract Maps for approximately 468 single family lots and deliver it to Buyer prior to close of escrow. Proposed Tract 7264 10,000 SF Lots 96 Lots Proposed Tract 6968 6,000 SF Lots 372 Lots Proposed LOT “A” PARK +/- 12 Acres Proposed DRILL SITE 6 Acres
  • 7.
    +/-137 Acres 7 DEVELOPMENT MAP EXECUTIVE SUMMARY All Matters contained herein are confidential. AS OF 8-6-2014
  • 8.
    +/-137 Acres 8 INVESTMENT SUMMARY EXECUTIVE SUMMARY All Matters contained herein are confidential. Acquisition Status: Global is in escrow to purchase the property. The Acquisition price has been established at $9,500,000 or +/-$20,000 per lot. A cash- flow proforma shall be provided for further evaluation of the property. Location & Entitlement: The subject property is located in the Northwest quadrant of Bakersfield, the hottest market in the entire City. It is situated in an area with existing (new) and future residential developments. Utilities are immediately available to the site and it is accessible through Snow Road. The Seller, at its own cost is currently processing Tentative Tract Maps for approximately 468 single family lots, Lot Line Adjustments plus a park dedication and a drill site. Future Plans: Immediately following the acquisition of property, Global’s intent is to obtain approval of the improvement plans (water, sewer, drainage, landscaping, street, block walls, etc.) and get the property ready to a recordable stage for the prospective homebuilder/s. Furthermore, Global shall be looking into the improvement of the surrounding arterial streets and the mass grading of the entire site or possible blue-top Phase 3 of Tract 7264 and Phase 5 of Tract 6968 subject to the market condition. Additional Remarks: Majority of the public and regional homebuilders are currently acquiring paper lots (TTMs) with no improvement plans since there are not much availability of semi-finished nor finished lots in the NW to be acquired by the homebuilders.
  • 9.
    +/-137 Acres 9 TTM Maps EXECUTIVE SUMMARY All Matters contained herein are confidential. Proposed TTM Maps from Smith Tech