2.64 HECTARES
6.52 ACRES
PLANNING PERMISSION FOR 75 UNITS
INFORMAL
TENDER
FRIDAY17th
APRIL2015
FULLY SERVICED RESIDENTIAL
DEVELOPMENT LAND
BINHAMY FARM, BUDE, CORNWALL EX23 9TG
THE SITE
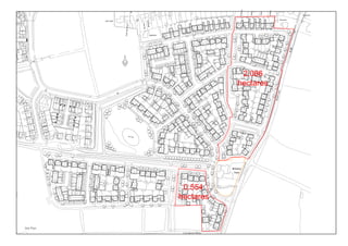
This greenfield site extends to 2.64 hectares (6.52 acres) and is well located adjoining the
main A39 Binhamy Road on the eastern edge of Bude. It is 1 mile from the town centre and
less than 2 miles from the coast. The land is in two parcels north and south of Binhamy Farm
as can be seen from the layout plan opposite. The land has a gentle southerly slope and
offers an attractive long distance country view to the south.
The site forms a phase of the much larger “Shorelands” development being undertaken by
Bovis Homes. The land offered for sale will shortly benefit from a reserved matters approval
for the development of 75 dwellings.
BUDE
According to the Bude tourist web site the town was the number one sunniest place in the
UK during 2013 (and again for several dates in 2014), making it an excellent choice as both
a holiday destination and a place to live. The area has a laid-back charm that has not been
spoiled by brash development and is traditional in a cherished way.
The town’s residents have a diverse range of indoor and outdoor activities, from sports centres,
soft play and historic houses to fishing, surfing and other water sports, cycling and golf.
There are plenty of beautiful beaches, spectacular views and unique natural attractions -
which include a sea pool and access to the South West Coast Path.
PLANNING
Forming a part of the much larger Binhamy Farm Masterplan the overall area of land
obtained permission on appeal under reference number APP/D0840/A/09/2115945 on
the 28th July 2011 for a mixed use development comprising housing (including affordable
housing), employment, retirement village, extra care facility, retail (discount food and non-
food), land for a new community building, public open space and landscaping.
Subsequently a reserved matters application for a phase of 249 dwellings (including 75
dwellings on the land offered for sale) was submitted under reference number PA14/06864
and approved at committee in late 2014. This approval was subject to a deed of variation to
the existing S106 agreement and the decision notice is expected shortly. Interested parties
are advised to contact the agents for the latest position.
TECHNICAL
A technical pack is available but prospective buyers are advised that the site is being offered
on a fully serviced basis. The vendor will provide all access roads and services to the boundary
of the land to be sold. The vendor will also take responsibility for any financial contributions
required under existing S106 agreements and meet affordable housing obligations such
that no affordable housing will be required from this site.
METHOD OF SALE
The land is offered for sale freehold by way of informal tender with a closing date of midday
on Friday 17th April 2015 with offers addressed to the agents and marked
“Informal tender – Bude”.
VIEWING
On site at any reasonable time, in the first instance as the land is part of an active
construction site, please contact the agents to confirm your intention to view and make
access arrangements.
These details have been produced in good faith and are believed to be accurate but they are not intended to form part of any contract. You are strongly advised to check the availability of the property before travelling any distance to view. All statements
contained in these particulars as to this property are made without responsibility on the behalf of the agents or the vendors or lessors. None of the statements contained in these particulars as to this property are to be relied upon as statements or
representation of fact. Any intending purchasers must satisfy themselves by inspection or otherwise as to the correctness of each of the statements contained in these particulars. The vendors do not make or give and neither the agents nor any person in their
employment has any authority to make or give any representation or warranty whatsoever in relation to this property.
Contact Andrew Kitchener
andrew@klp.land
07902 766862
REF: 8AJKR2
CONTACT
Newcourt Barton
Clyst Road
Topsham
Exeter
Devon
EX3 0DB
Site Plan
Location Plan
C
1.5 dia
turning
circle
B A
V
V
V
V
V
V
V
V
V
V
V
V
V
V
64
65
91
63
C
1.5dia
turning
circle
BA
C
1.5dia
turning
circle
BA
C
1.5dia
turning
circle
BA
C
1.5dia
turning
circle
BA
C
1.5dia
turning
circle
BA
C
1.5 dia
turning
circle
B A
C
1.5 dia
turning
circle
B A
C
1.5dia
turning
circle
BA
C
1.5dia
turning
circle
BA
64
V
V
84
85
86
87
88
8989
90
80
80
79
79
81
81
77
77
78
78
76
76
82
82
83
8375
75
74
74
72
72
73
73
8
7
6766
71
70
69
68
40
38
35
36
37
38
39
40
41
42
43
44
V
V
V
V
19
22
19
8
7
LB
A39
BINHAMYROAD
Bon-Amie
Morwenna
CoastViewHouse
1
April Lodge
Lyndene
Ruslin
Kifisia
StMerryn
Appledown
Homeleigh
LangCott
Farm
Binhamy
Tk
2.086
hectares
0.554
hectares Project:
Revisions
Drawing:
Scale: Date: Drawn by:
Drawing No: Rev:
Drg.Status:
This drawing is the copyright of Clancy Design Services Ltd. No liability will be
accepted for amendments by others to either the printed or digital format.
Client:
CDSCDSCLANCY DESIGN SERVICES LTD
13 Capitol Park, Pearce Way, Gloucester. GL2 5YD
TEL/FAX: 01452 502003 email: mail@clancydesignservices.com
BINHAMY FARM,
BUDE
AREA PLAN
1/500 @ A0 03.10.14 rgc
Bude Binhamy Farm - 75 units

Bude Binhamy Farm - 75 units

  • 1.
    2.64 HECTARES 6.52 ACRES PLANNINGPERMISSION FOR 75 UNITS INFORMAL TENDER FRIDAY17th APRIL2015 FULLY SERVICED RESIDENTIAL DEVELOPMENT LAND BINHAMY FARM, BUDE, CORNWALL EX23 9TG
  • 2.
    THE SITE This greenfieldsite extends to 2.64 hectares (6.52 acres) and is well located adjoining the main A39 Binhamy Road on the eastern edge of Bude. It is 1 mile from the town centre and less than 2 miles from the coast. The land is in two parcels north and south of Binhamy Farm as can be seen from the layout plan opposite. The land has a gentle southerly slope and offers an attractive long distance country view to the south. The site forms a phase of the much larger “Shorelands” development being undertaken by Bovis Homes. The land offered for sale will shortly benefit from a reserved matters approval for the development of 75 dwellings. BUDE According to the Bude tourist web site the town was the number one sunniest place in the UK during 2013 (and again for several dates in 2014), making it an excellent choice as both a holiday destination and a place to live. The area has a laid-back charm that has not been spoiled by brash development and is traditional in a cherished way. The town’s residents have a diverse range of indoor and outdoor activities, from sports centres, soft play and historic houses to fishing, surfing and other water sports, cycling and golf. There are plenty of beautiful beaches, spectacular views and unique natural attractions - which include a sea pool and access to the South West Coast Path. PLANNING Forming a part of the much larger Binhamy Farm Masterplan the overall area of land obtained permission on appeal under reference number APP/D0840/A/09/2115945 on the 28th July 2011 for a mixed use development comprising housing (including affordable housing), employment, retirement village, extra care facility, retail (discount food and non- food), land for a new community building, public open space and landscaping. Subsequently a reserved matters application for a phase of 249 dwellings (including 75 dwellings on the land offered for sale) was submitted under reference number PA14/06864 and approved at committee in late 2014. This approval was subject to a deed of variation to the existing S106 agreement and the decision notice is expected shortly. Interested parties are advised to contact the agents for the latest position. TECHNICAL A technical pack is available but prospective buyers are advised that the site is being offered on a fully serviced basis. The vendor will provide all access roads and services to the boundary of the land to be sold. The vendor will also take responsibility for any financial contributions required under existing S106 agreements and meet affordable housing obligations such that no affordable housing will be required from this site. METHOD OF SALE The land is offered for sale freehold by way of informal tender with a closing date of midday on Friday 17th April 2015 with offers addressed to the agents and marked “Informal tender – Bude”. VIEWING On site at any reasonable time, in the first instance as the land is part of an active construction site, please contact the agents to confirm your intention to view and make access arrangements. These details have been produced in good faith and are believed to be accurate but they are not intended to form part of any contract. You are strongly advised to check the availability of the property before travelling any distance to view. All statements contained in these particulars as to this property are made without responsibility on the behalf of the agents or the vendors or lessors. None of the statements contained in these particulars as to this property are to be relied upon as statements or representation of fact. Any intending purchasers must satisfy themselves by inspection or otherwise as to the correctness of each of the statements contained in these particulars. The vendors do not make or give and neither the agents nor any person in their employment has any authority to make or give any representation or warranty whatsoever in relation to this property. Contact Andrew Kitchener andrew@klp.land 07902 766862 REF: 8AJKR2 CONTACT Newcourt Barton Clyst Road Topsham Exeter Devon EX3 0DB
  • 3.
    Site Plan Location Plan C 1.5dia turning circle B A V V V V V V V V V V V V V V 64 65 91 63 C 1.5dia turning circle BA C 1.5dia turning circle BA C 1.5dia turning circle BA C 1.5dia turning circle BA C 1.5dia turning circle BA C 1.5 dia turning circle B A C 1.5 dia turning circle B A C 1.5dia turning circle BA C 1.5dia turning circle BA 64 V V 84 85 86 87 88 8989 90 80 80 79 79 81 81 77 77 78 78 76 76 82 82 83 8375 75 74 74 72 72 73 73 8 7 6766 71 70 69 68 40 38 35 36 37 38 39 40 41 42 43 44 V V V V 19 22 19 8 7 LB A39 BINHAMYROAD Bon-Amie Morwenna CoastViewHouse 1 April Lodge Lyndene Ruslin Kifisia StMerryn Appledown Homeleigh LangCott Farm Binhamy Tk 2.086 hectares 0.554 hectares Project: Revisions Drawing: Scale: Date: Drawn by: Drawing No: Rev: Drg.Status: This drawing is the copyright of Clancy Design Services Ltd. No liability will be accepted for amendments by others to either the printed or digital format. Client: CDSCDSCLANCY DESIGN SERVICES LTD 13 Capitol Park, Pearce Way, Gloucester. GL2 5YD TEL/FAX: 01452 502003 email: mail@clancydesignservices.com BINHAMY FARM, BUDE AREA PLAN 1/500 @ A0 03.10.14 rgc