Agenda Item #1
Aspen Heights
PDD Rezoning
Comprehensive Plan
Existing Zoning Proposed Zoning
PDD
PDD Overview
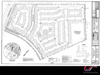
• PDD Planned Development District for multi-family.
• Zoning based on the new MF Multi-Family district
adopted in December with proposed modifications.
• Proposes units with 2 to 5 bedrooms each.
• Buildings will range from 20 to 40 feet in height.
• 50-foot utility corridor along northern property line.
• Applicant proposes ordinance not to become
effective until a deed for the sale of the property is
recorded by November 30, 2015.
Meritorious Modifications
• Allow five-bedroom unit types to allow up to five
unrelated individuals in a dwelling unit.
• Reduce the minimum density required from 12 units per
acre to 8.7 units per acre.
• Reduce the required throat depth of driveways leading up
to a gated entrance to be no more than 60 feet.
• Allow for block length and block perimeter waivers for the
development.
Proposed Community Benefits
• Enhance traffic flow by constructing a right turn lane for
northbound Holleman Drive South on to Dowling Road.
• Provide private shuttle service in the event A&M bus
service is not extended to the development.
• Construct about 900 feet of General Parkway, a minor
collector.
• Provide additional parkland funds for community
enhancement of park facilities.
Recommendations
• The Planning & Zoning Commission recommended approval
with a 4-1 vote at their May 7th meeting.
• The Parks & Recreation Advisory Board unanimously
recommended to accept the additional fee in lieu of parkland
at their May 12th meeting but included that they were not
comfortable with the fees for future projects and
recommended Council consider additional fees for projects
with higher per unit bedroom counts.
• Staff recommends denial of the request due to concerns of
the existing transportation network being able to handle the
additional traffic demands created by the development.
Current Level of Service
CRED Improvements
Future Improvements
Aspen Heights Rezoning

Aspen Heights Rezoning

  • 1.
    Agenda Item #1 AspenHeights PDD Rezoning
  • 3.
  • 4.
  • 5.
    PDD Overview • PDDPlanned Development District for multi-family. • Zoning based on the new MF Multi-Family district adopted in December with proposed modifications. • Proposes units with 2 to 5 bedrooms each. • Buildings will range from 20 to 40 feet in height. • 50-foot utility corridor along northern property line. • Applicant proposes ordinance not to become effective until a deed for the sale of the property is recorded by November 30, 2015.
  • 7.
    Meritorious Modifications • Allowfive-bedroom unit types to allow up to five unrelated individuals in a dwelling unit. • Reduce the minimum density required from 12 units per acre to 8.7 units per acre. • Reduce the required throat depth of driveways leading up to a gated entrance to be no more than 60 feet. • Allow for block length and block perimeter waivers for the development.
  • 8.
    Proposed Community Benefits •Enhance traffic flow by constructing a right turn lane for northbound Holleman Drive South on to Dowling Road. • Provide private shuttle service in the event A&M bus service is not extended to the development. • Construct about 900 feet of General Parkway, a minor collector. • Provide additional parkland funds for community enhancement of park facilities.
  • 9.
    Recommendations • The Planning& Zoning Commission recommended approval with a 4-1 vote at their May 7th meeting. • The Parks & Recreation Advisory Board unanimously recommended to accept the additional fee in lieu of parkland at their May 12th meeting but included that they were not comfortable with the fees for future projects and recommended Council consider additional fees for projects with higher per unit bedroom counts. • Staff recommends denial of the request due to concerns of the existing transportation network being able to handle the additional traffic demands created by the development.
  • 10.
  • 11.
  • 12.