1
Executive Summary
The Alumni Engineering Labs (AEL) was built in 1950 as part of an extension project to Drexel
University’s Main Building Complex. The adjacent building is located on 3141 Chestnut Street,
Philadelphia, PA. Originally built and intended to serve as a research facility, the building currently
houses research laboratories for different engineering departments, as well as offices for graduate
students and most of the Civil, Architectural, and Environmental Engineering (CAEE) department. As
a result of the university’s expansion and the increase of students in the engineering sector, AEL fails
to fulfill its mission. Moreover, due to the dated construction, the building has a deficient mechanical
system and an outdated appearance.
This project will consist of renovating the AEL in terms of its architectural, mechanical, and structural
systems. The renovation will improve traffic circulation throughout the building and provide a better
distribution of spaces, including independent space for each engineering department. The building’s
aesthetics will also be renovated to give the building a modern look. With regard to the dated
mechanical system, the renovation will provide better HVAC efficiency. In order to do so, the current
system will be enhanced with modern equipment, and additional equipment will be placed where
needed. Furthermore, the insulation will be improved and the building envelope will be upgraded. With
regards to the structural system, the building will be expanded vertically by adding two new floors,
allowing for the desired additional square footage.
As a result of the building’s dated construction, the team searched for all the information concerning
the building from its initial construction stages to the present. The information included floor plans
with changes made to them, current structural and foundation conditions, geological surveys of the
Philadelphia region, data on the current mechanical system, and, finally, all the preliminary design
ideas prior to commencing construction. Verbal surveying was also done of undergraduate and graduate
students on the premises, as well as faculty members, to learn of any thermal discomfort, architectural
reviews, and potential constraints of the CAEE department. With respect to the mechanical system, an
extensive building energy modeling was calculated for heating and cooling demands, and information
on the current mechanical units was gathered.
To conclude, the challenges have been defined, and information has been gathered to further analyze
and design in order to address these challenges. The team is still searching for more detailed information
on the structural system, especially foundation plans that will verify if the foundation can sustain the
load of the two additional stories. If the foundation is not capable of supporting the loads, there are
alternatives, such as changing the building’s envelope to a lighter material or horizontally expanding
the building. From an architectural standpoint, more office spaces will be added for faculty members
and graduate students, and the laboratories will be renovated to pursue their needs. An elevator will
also be added to the building, along with an entrance to improve circulation. Ultimately, in order to
achieve thermal comfort, the mechanical system must be redesigned and enhanced with smart HVAC
units, with the addition of new equipment on the additional floors that has been proposed to be added.
2
Table of Contents
Chapter Page
1. Project Background……………………………………………………………………....……..4
2. Current Conditions of the Alumni Engineering Labs…………………………………..……....4
2.1. Architectural………………………………………………………………....…….....4
2.1.1. Current Floors…………………………………………………..…………..5
2.1.2. Current Circulation……………………………………...…….…..………..8
2.1.3. Current Aesthetics…………………………...……….………………..........8
2.2. Mechanical / HVAC………………………………………………...…………..........8
2.2.1. Current HVAC Equipment ………………………………....……………...8
2.2.2. Current Building Envelope Thermal Performance………...........….……..10
2.2.3. HVAC Load Calculation………………………....………...……….……..10
2.3. Structural...…………………………………………………………………………..11
2.3.1. Current Condition. ………………………………………...……………...11
2.3.2. Foundation …………………………………………………….…..……...11
2.3.3. Structural Frame …………………………………………...….…..……...12
2.3.4 Building Envelope………………………………………….……………...12
2.3.5. Load Demand ………………………………………………….......……..12
3. Improvements………………………………………………………………….……...………13
3.1. Architectural……………………………………………………………...…………13
3.1.1. New Floor Planning ……………………………………………...……….13
3.1.2. New Circulation …………………………………………………………..19
3.1.3. New Aesthetics……………………………………………………...…….19
3.2. Mechanical / HVAC………………………………………………………...………20
3.2.1. Renovation of Building Envelope System………………………………...20
3.2.2. Renovated HVAC Load Calculations ………………………..…...……....21
3.2.3. Rearrangement of Existing HVAC Equipment / New Equipment …...…..23
3.2.4. Rearrangement of HVAC Zones………………………………....………..24
3.2.5 System Selection and Sizing……………………………………………….29
3.3. Structural…………………………………………………………………………….29
3.3.1. Replacement of Existing CMU to Reduce Weight Demand………….......30
3.3.2. Load Calculations……………………………………………..……...…...31
3.3.3. Load Combinations…………………………………………….……….....34
3.3.4. Slab Design…………………………………………………....…………..35
3.3.5. Structural Frame of New Structure………………………………..….…...37
3.3.6. Girder Design…………………………………………..………..………...39
3.3.7. Column Design……………………………………………………...…….41
3.3.8. Addition of Elevators…………………………………………………...…42
3
3.3.9. Total Axial Loading…………………………………….……...………….43
3.3.10. Analytical Model………………………………………………..……….45
4. Construction Analysis…………………………………………………….…………………...46
4.1. Construction Schedule……………………………………………………..………..46
4.2. Material Costs………………………………………………………...……………..48
4.3. Design, Labor, and Fees Total Costs……………………………………...…...…....48
References……………………………………………………………………..…………............51
Appendix I (Architectural)………………………………………...…………………..………....52
Appendix II (Mechanical)……………………………………………………………..…………59
Appendix III(Structural)…………………………………………………………………………69
Appendix IV (Construction Management) …………………………...………………………....77
4
1. Project Background
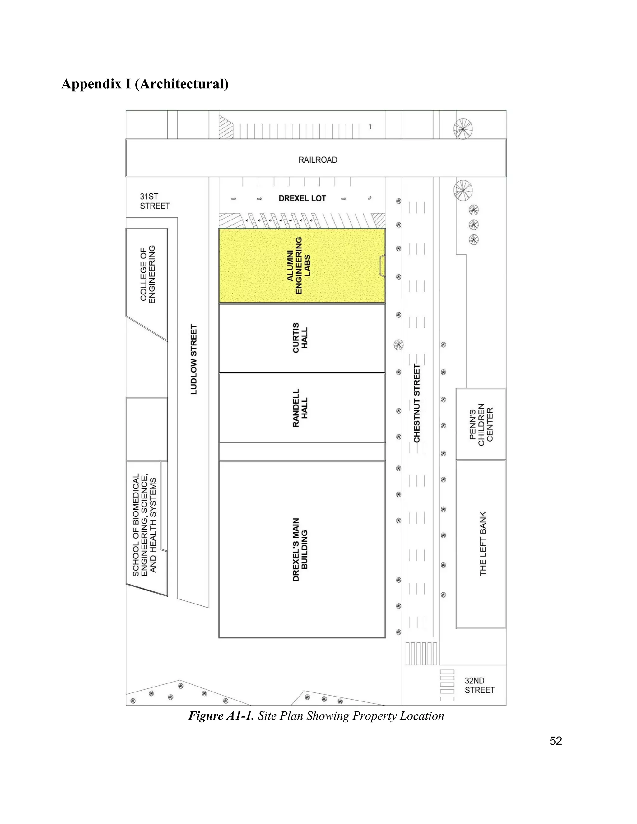
The Alumni Engineering Labs (AEL) is located at 3141 Chestnut Street, in Philadelphia, PA, on Drexel
University's campus. The building was erected in 1950 as part of the Drexel Institute, and intended to
serve as a research facility. With a total of 51,216 square feet, the three-story building is now primarily
used for faculty and graduate students’ offices, and as laboratory space for the Civil, Architectural and
Environmental Engineering (CAEE) department and the Mechanical Engineering and Mechanics
(MEM) department. The building also contains some classrooms and conference rooms.
Due to the growth of Drexel’s campus over the years, and an increase in the number of students, the
AEL has experienced a space shortage, making it difficult to fulfill its mission. Furthermore, the
building lacks proper heating, ventilation, and air conditioning controls. The building does not meet
the current needs of thermal comfort for the facility and its occupants.
The renovations to be considered in the scope of this project are primarily to expand the capacity of the
building; to increases office, laboratory, and class space; and to provide new support facilities. In
addition to the measures to increase capacity, the HVAC system and the building envelope must be
improved in order to reduce the dependence on local utilities that sustain the building.
2. Current Conditions of the Alumni Engineering Labs
2.1. Architectural
The architectural system of the AEL building needs major improvements in floor planning, space
circulation, and aesthetics. There is a shortage of space in this three-floor building; a few graduate
offices are clustered with many small cubicles, and this is not suitable for long hours of work. There is
also a poor distribution of the CAEE department offices and insufficient office space for the MEM
department offices. Traveling from one part of any floor to another is impossible without walking back
through Curtis Hall’s hallways. Improving this building’s overall architectural system will increase the
occupants’ comfort level, and surely be reflected in the work quality of both students and faculty
members.
5
2.1.1. Current Floors
CHESTNUT STREET
Figure 1. Current First Level Plan
The lowest floor currently contains most of the labs in this building, and it is primarily dedicated to that
usage. Using the first floors for labs that require heavy equipment is a smart decision, since it is not
recommended to have heavy equipment on higher floors. In this case, the heavy equipment is not
contributing much to the structural stresses. One graduate office is at the center of this floor for the
purpose of allowing graduate students easy access to the labs. The north half and south half of this floor
are not connected. People using those labs have to circulate back to Curtis, and in some cases must use
a hidden staircase to access the labs at the south half.
6
Figure 2. Current Second Level Plan
On the second floor, there are fewer labs, more computer labs, and the MEM offices. Space distribution
on this floor is orderly. Labs are on one half of the floor, surrounding a couple of graduate offices. This
layout is convenient for those graduate students who want direct access to the labs. The other half of
the first floor contains two large computer labs for the MEM department. Those are open to one of the
lower level mechanical labs for ease of access for students who use both spaces. Finally, on the same
floor, there are fifteen MEM department faculty offices running along the south wall of the building,
extending from Curtis Hall.
7
Figure 3. Current Third Level Plan
On the third floor, spaces are not well-used or -distributed. There is a conference room and a single
classroom in between labs on one side and graduate offices on the other. The CAEE department offices
are divided into many parts on this floor, which is not an efficient distribution. This distribution often
confuses students and department visitors, as a proper path to reaching all the offices is not recognizable
or even necessarily available. Similarly, the graduate student offices are at different locations, although
they are relatively close to the labs they use. In general, there is not enough space for rooms to be well-
distributed.
8
2.1.2. Current Circulation
A major concern with the building is access to and from it. Reaching this building requires entry from
the Main Building, then walking through both Randell and Curtis halls. There are two exit doors open
to Chestnut Street on the south side of the building, and Ludlow Street on the north side, but those
doors are not used as entrance points. Faculty members who park in Drexel lot F have to walk the length
of two blocks to get into the building, even though the parking lot is conveniently adjacent to it. Labs
on the first floor are not connected by a hallway, which forces people to walk back to Curtis. Many
students attending the Hydraulics lab at the south half have to access a staircase from a hidden location
within the AEL. As for the comfort of circulation between floors, there is only one elevator found in
the Main Building, which forces faculty members to walk a tedious maze of hallways through several
buildings to reach their office on the upper floor of the AEL. Lastly, the CAEE department is not unified
in one location. This reduces the amount of interaction that is possible between the department’s
members on either end of the floor.
2.1.3. Current Aesthetics
The building’s architectural aesthetics are quite dated and reflect the time when it was built (1950). The
Main Building, Randell Hall, and Curtis Hall look historic in comparison to the AEL. Their design is
not considered outdated because of the orange masonry, sculptures, and iconic pillars on their façades.
On the other hand, the AEL building’s façade, facing Chestnut Street, is very unattractive. The colors
used are grey, faded olive green, and turquoise. The simple architectural design is not proper for a
building that houses the Civil and Architectural department, especially when compared to newer, more
visually attractive buildings on campus. The east wall, facing Lot F and the railway, is blank due to
soundproofing reasons. It is bright masonry brick, which does not transition well from the darker façade
on Chestnut. The north side looks very simple and unkempt. It might not be a side that is often seen,
but it is an extension of the most important building on campus, the Main Building.
2.2. Mechanical / HVAC
The HVAC for the AEL building is a combination of systems. Heating is supplied from steam provided
by Trigen, through finned tube radiators usually located around the perimeter of the building. Cooling,
on the other hand, is supplied through multiple air handling units on each floor. A mixture of both water
loop and refrigerant loop air handling units are used in the building. Different air handling units are
responsible for different zones of the building.
2.2.1. Current HVAC Equipment
The building’s HVAC was surveyed for details on the cooling systems. The lower level/ground floor
of the building has three air handling units but four zones, with one zone being supplied by an air
handling unit located on the first floor. Two of the air handling units are refrigerant loop supplied by
two condensers, located outside and close to the northeast and southeast corners of the building. The
third air handling unit is a chilled water air handling unit supplied by the cooling tower that is on the
9
roof of the building. The first floor has eight zones with eight separate air handling units serving each
zone. Finally, the second floor has five separate air handling units with more than five zones. The
second floor also has a “Variable Air Volume” (VAV) system installed for most of the offices. This
type of system offers a high degree of temperature control for different areas. At each zone, a thermostat
controls the room temperature by using dampers to regulate the volume of air being discharged by the
diffuser. The building has a total of 16 air handling units. The table below shows the existing HVAC
equipment and locations.
Table 1: Existing HVAC Equipment and Location
The problem with the cooling system is that the entire area served by the air handling unit is a single
zone, with no possibility for individual temperature control. Likewise, the heating system provides little
to no possibility for individual temperature control. The radiators are set at a specific temperature with
a single thermostat, providing equal amounts of heat to a unified zone. The issue here is that individual
temperature control is very important for occupant comfort and productivity. The current HVAC
systems provides little to no individual control. Upon asking occupants and faculty in the building about
how thermally comfortable the building is, 90% of occupants complained that it was either too hot or
too cold. The 10% of occupants who were comfortable were mainly on the second floor, where the
VAV system is installed, allowing for individual temperature control.
10
2.2.2. Current Building Envelope Thermal Performance
The building envelope used for the AEL was designed for cost efficiency. The walls consist of brick
veneer and concrete masonry units (CMUs). The insulation provided by the current wall system is poor,
with an R-value of about 2.406. The problem with the low R-value wall is that heat gain and heat loss
through the wall would greatly minimize the efficiency of the HVAC system, creating a higher energy
demand. About 54% of heat is lost through the envelope. On the other hand, the windows are single
pane glass with an R-value of 1.127, and about 22% of heat is lost through the windows. The roof of
the building consists of ballasted asphalt, cellulose insulation, and a concrete slab, in the order listed.
The roof has an R-value of 6.285, the highest R-value out of all the building envelope components.
About 23% of the heat is lost through the roof. Detailed information about the building envelope
components can be found in Appendix II.
2.2.3. HVAC Load Calculation
An extensive calculation of building heating and cooling demands was calculated for the existing and
renovated building conditions. In order to calculate the heating and cooling loads, a variety of variables
had to be defined and specific weather and location data obtained.
Initially, the building height, floor to floor height, total square footage, and footprint were measured
and determined. Subsequently, the window to wall ratios for the south, east, and north façade were
calculated. Design conditions were set as seen below in Table 2.
Table 2: HVAC Load Design Conditions
Using the building envelope data obtained, the heat loss through the envelope was calculated with the
following formula:
Q = U x A x ∆T (0)
In the equation 1 above, the Q stands for the heat transfer rate/heat loss rate in British Thermal Units
per Hour (BTU). The U, on the other hand, is the conductivity of the envelope component, which is
also equal to one over the R-value. The A value is the area of the component, and T is the dry bulb
temperature difference of the inside and outside. The sum of the total heat loss through every
component of the envelope is then calculated. Subsequently, 15% of the total heat loss through the
envelope is calculated and then added to itself to obtain the final heat loss rate. The additional 15%
accounts for the piping heat loss. The total heat loss of the building came out to 1,360,000 BTU/hr.
11
The cooling load, on the other hand, is a much more complex calculation that includes the building
envelope heat transfer, solar heat, infiltration, lighting, and internal heat gains. The peak load was
calculated for the hottest day of the year, which is July 21st. The peak cooling load is 1,127,000 BTU/hr,
which is about 94 tons of cooling. For detailed calculations refer to Appendix II.
2.3. Structural
2.3.1. Current Condition
As the AEL is a public space, the structure has endured consistent demand. In order for the building to
serve the purpose of housing engineering department staff, laboratory space, conference and
classrooms, the structure must be analyzed to determine if potential modifications need to be made to
extend its efficacy and integrity. The analysis of the current state of the building is crucial; it dictates
whether the structure can withstand potential design changes.
The first step of the evaluation is a review and analysis of the original design documentation to
understand the method and intent of design. The University currently has a copy of the original
construction plans, provided by Simon and Boulware Architects and Engineers. Secondly, it is
necessary to examine the current condition of the building and identify any design modifications that
have been executed since the original construction. International Existing Building Code, 2015 (IBEC)
and International Building Code 2009 (IBC) provide the procedure to evaluate the current condition of
the building. Lastly, ASCE 7-10: Minimum Design Loads for Buildings and Other Structures (ASCE-
7) offers the techniques for design that are used to complete the analysis of the current state of the
building and determine if it follows code.
2.3.2. Foundation
The AEL building was built in 1950 and is one of Drexel’s historical architectural pieces, so exact
information on the foundation was not available. However, by employing our engineering skills and
observing the soil properties in the Philadelphia region, we were able to come up with a number of
assumptions. The Philadelphia region naturally has a low bedrock depth and a low evident water table
in comparison to other regions. This observation, combined with the large mass and weight of the AEL
building, suggests that a deep foundation was used. Furthermore, from looking at the original
foundation plans, the foundation of the building is designed as a spread footing that transfers the load
from the columns to the foundation. A number of faculty members were asked to advise the group of
the current foundation conditions, and they all expressed their confidence that it is strong enough to
sustain the loads of the two additional floors that we propose to add. However, the best solution going
forward is to obtain real-life data in order to confirm the assumptions made by the group.
12
2.3.3. Structural Frame
Analysis of the original design shows that the building is designed with a reinforced concrete frame,
with beams running north to south and girders running east to west. The original design was later
modified to accommodate a third floor. The addition of another floor required the raising of the roof
structure and the new floor had to be similar to the first floor. Floor slabs are shallow, and both interior
and exterior walls, though non-structural, are made of CMUs, adding significantly to the dead load of
each floor. The roof of AEL is a concrete slab with bitumen sheet insulation covered with gravel. The
lower level shows some visible wear and has therefore been analyzed more consistently; however,
overall, the building shows little sign of aging and no sign of previous repairs or modifications.
2.3.4. Building Envelope
The building envelope used for the AEL was designed for cost efficiency. The walls consist of brick
veneer and CMUs. The insulation provided by the current wall system is poor, with an R-value of
2.406. The problem with the low R-value wall is that heat gain and loss through the wall would greatly
minimize the efficiency of the HVAC system, creating a higher energy demand. About 54% of heat is
lost through the envelope. On the other hand, the windows are single pane glass with an R-value of
1.127. About 22% of heat is lost through the windows. The roof of the building consists of ballasted
asphalt, cellulose insulation, and a concrete slab, in the order listed. The roof has an R-value of 6.285,
the highest R-value out of all the building envelope components. About 23% of the heat is lost through
the roof.
2.3.5. Load Demand
Due to its dual function as office and class/conference space, the building requires high levels of both
dead and live load. Furthermore, the laboratory spaces create an added complication to the demand
criteria, and load requirements are increased by the unique ventilation needs and the resulting various
mechanical spaces through each floor. Any changes to the layout or locations of significant load
items will change the demand to specific areas of the building, and should be evaluated. Increased
demand in any given area could require appropriate strengthening and modifications to the area.
13
3. Improvements
3.1. Architectural
Ease of access into the AEL building is the most important problem to be resolved. A lobby area on the
south near Chestnut Street and Lot F would make access into the building more efficient, and would
improve the building’s circulation. An elevator in this proposed lobby location would serve all floors,
and work alongside the staircase for floor to floor flow. Having both options within close proximity to
each other in the lobby area would be an enhancement to the building. In addition to a lobby, the
building needs a faculty break room, a common study area for students, more faculty office space, and
a larger, properly equipped conference room.
3.1.1. New Floor Planning
Since the building will not be demolished, the three existing floors will be repurposed by removing and
adding walls and partitions where needed. The existing staircase will be demolished and replaced by
two staircases at opposite ends of the building. Two mechanical rooms on each floor will service the
varying HVAC needs of the various spaces. Also, two restrooms will be conveniently placed on each
floor, where the existing restrooms are, to make use of the plumbing. With the new layout, lab space
will increase by 5%, office space by 35%, classroom space by 670%, and conference and meeting room
space by 270%. The following pages show these new plans in small scale. Appendix I contains large
scale plans.
14
LUDLOW STREET
CHESTNUT STREET
Figure 4. New First Level Plan
The new layout completely changes the purpose of this floor. Facing Chestnut Street is a large lobby
area, as is fitting for a multipurpose building such as the AEL. Close to the lobby is an elevator waiting
area, and a new staircase is conveniently placed to service travel throughout the building. A new
hallway cuts through one of the labs to connect the north and south halves of this floor. The electrical
rooms remain where they are, and a mechanical room servicing the two elevators is added adjacent to
the elevator shaft. Finally, two restrooms are added to this floor.
15
Figure 5. New Second Level Plan
The purpose of this floor remains unchanged. With the new layout, it still contains labs, graduate
offices, two computer labs, and the MEM offices. The change in space distribution in relation to the
new lobby-like area in front of the elevators and staircase greatly benefits both circulation and space
management. Half of the MEM offices remain on this floor, thus gaining floor area, while the remaining
half of the MEM offices are moved upstairs to the third floor.
16
Figure 6. New Third Level Plan
This floor is completely repurposed from what it used to be. Similar to the floor below it, it contains
additional labs, graduate offices, and the MEM offices. The rooms that used to be on this floor are
moved up to the new fourth and fifth floors, where they are given extra space and better circulation.
17
Figure 7. New Fourth Level Plan
With this newly designed fourth floor, five classrooms will be available to both CAEE and MEM
students. The classrooms are large enough to comfortably contain up to 30 students. An additional
computer lab will be dedicated to the Digital Concentration for Architectural Engineering students. A
large conference room with an adjacent meeting room will be facing Chestnut Street for an admirable
view of the city.
18
Figure 8. New Fifth Level Plan
The fifth and last floor is completely purposed and designed for the CAEE department. Unlike the way
in which the department’s offices are currently laid out, this new layout unifies the department by
having a reception area, a central meeting room, a kitchen lounge area, and a copy room. With 25
medium-sized offices and two large ones facing Chestnut Street, this floor’s occupant will undoubtedly
be satisfied.
19
3.1.2. New Circulation
Circulation is greatly improved, especially on the existing floors, with the new layout of the rooms.
The lobby area on each floor, with two elevators and a staircase, benefits the vertical circulation as it
gives occupants a better sense of direction. Also, with the lobby’s location facing Chestnut Street,
building occupants and visitors will not be required to access the Main Building to reach the AEL
through Randell Hall and Curtis Hall. There is also an entrance point on the opposite side facing Ludlow
Street where there is heavy foot traffic close to the food trucks. On the first, second, and third floors,
the hallways between labs and graduate offices are efficient for that purpose. Since those labs are
mainly used by graduate students, foot traffic in those hallways is minimal, which is reflected in the
design. On the other hand, hallways on the fourth floor can accommodate a large number of students
at certain times in between classes. Lastly, for the fifth floor, the east and west wing layout of CAEE
offices is easier to navigate through. There is at least one access point on each floor to Curtis Hall.
Also, the two staircases on opposite ends of the building are convenient for those who prefer to not use
the elevators, and as a means of egress in case of an emergency.
3.1.3. New Aesthetics
The new exterior design of the AEL building takes a classical, timeless look that is more suitable
alongside the Main Building, Randell Hall, and Curtis Hall. Since those adjacent building have historic
looks that Drexel desires to keep preserved and unchanged, it was only logical to go for a similar look
with our new design. The ground floor’s facade is cobbled to make it look uniform with Curtis hall.
The next three floors have large, arched windows that extend five feet in width and 10 feet in height.
The last floor has more windows to give the building the illusion of height.
Figure 9. New Building Facade
20
3.2. Mechanical / HVAC
3.2.1 Renovation of Building Envelope System
An extensive research of building envelope systems was conducted and a selection was made for each
component of the envelope. The primary factors of the selection process were an increase in thermal
insulation and a decrease in envelope weight. The wall system selected for the building was the Sto
precast panels. The panels have an R-value of 31. The wall system consists of 11 components: steel
frame, gypsum sheathing, StoGuard waterproof air barrier membrane, Sto Insul-X, metal perimeter
channel, slip sheet, Sto Cast bed reinforced, Sto primer, Sto textured finish, and Sto Coat.
Figure 10: Sto Precast Wall Panel
21
In addition, the window to wall ratio has been decreased from 19.0% to 17.6%. This further minimizes
heat loss through windows/glass. Tables 3 and 4 shows the breakdown of the current window to wall
areas and ratios in more detail.
Table 3. Existing Window to Wall Ratio and Areas
Table 4: Renovated + Annexation Window to Wall Ratio and Areas
Lastly, the composition of the roof of the building was also changed; a hollow concrete slab was
selected instead of a concrete slab. The roofing insulation was changed from cellulose to
polyisocyanurate, increasing the R-value of the insulation by 10.185.
3.2.2 Renovated HVAC Load Calculations
Similarly, the HVAC loads for the building after its renovation were calculated. Initially, only the first
three floors were calculated, minus the proposed annexation, to compare the difference in and the effect
the envelope has on the loads. The renovated heating load of the first three floors is 336,000 BTU/hr,
which is a decrease of 788,700 BTU/hr. The cooling and heating loads for the two-story annexation were
then calculated and added to the value of heating and cooling of the three existing floors. The total heating
load of the building is 477,200 BTU/hr and the total cooling load is 1,500,000 BTU/hr, which is 125
tons.
Additionally, the supply and exhaust volumetric airflow rates were calculated for each room of the
building using the (2010) ASHRAE Standard 62.1. Using room areas obtained from room schedules
created by the Revit model, the occupancy, breathing zone outdoor, and exhaust airflows were calculated.
Vbz = (Rp x Rz) + (Ra x Az) (1)
Equation 2 above is the breathing zone outdoor airflow equation. The Rp value represents the people
outdoor airflow rate in cfm per person. The Rz value is the number of occupants in the specified area.
22
On the other hand, Ra is the area outdoor airflow rate in CFM per square foot. Lastly, Az is the specified
area. The Rp and Ra values were obtained from the (2009) International Mechanical Code.
The total supply airflow was calculated to be 12,149 CFM, and the total exhaust airflow 3,300 CFM. The
table below shows the calculation for the first floor breathing zone outdoor and exhaust airflows. Refer
to Appendix II for the rest of the floors.
Table 5. Breathing zone outdoor and exhaust airflow calculations
23
3.2.3 Rearrangement of Existing HVAC Equipment/New Equipment
Table 6. Rearrangement of Existing HVAC Equipment
Table 6 above shows the rearrangement of the existing HVAC equipment to suit the new layout of the
building. An extra 10 tons of cooling is required to meet the building's new total cooling HVAC load.
The two options that are considered to meet the total cooling load are: a 10-ton packaged rooftop unit, or
two DX cooling cabinet air handling units. Units that use chilled water cannot be used due to the fact that
the cooling tower is already at its maximum capacity. Additionally, for the current air handling units that
are going to be connected to VAV boxes, variable frequency drives are required to control the fan speed,
because when the VAV boxes reduce the airflow to a specific zone, the fan speed of the air handling unit
needs to be adjusted accordingly to avoid a change in the flow rate to other zones. A proposed 19 VAV
boxes are required for the new layout of the HVAC zoning.
24
3.2.4 Rearrangement of HVAC Zones
Figure 11. HVAC Zoning Ground Floor
25
Figure 12. HVAC Zoning First Floor
26
Figure 13. HVAC Zoning Second Floor
27
Figure 14. HVAC Zoning Third Floor
28
Figure 15. HVAC Zoning Fourth Floor
29
The figures display the new HVAC zoning plan of the building. The building has a total of 31 zones.
Each zone placed to meet specific loads and allow for proper temperature control according to room
location and purpose.
3.2.5 System Selection, and Sizing
The process of system selection started with looking at the existing equipment and the tonnage of
cooling that they supply. As stated previously with the renovations and annexation of two floors the
building requires 10 more tons of cooling. The existing cooling tower used for the existing air handling
units is at maximum capacity. This means that installing air handling units that use chilled water coils
for cooling would require installing a new cooling tower. To simplify, a packaged rooftop air
conditioner system was selected. The unit is manufactured by Trane and it provides 10 tons of cooling
and is sized to supply the proper amount of airflow to all the it would be supplying. For more details
view the product brochure in Appendix II.
3.3. Structural
The team proposed to change the structural system of the AEL building to make it more efficient. For
the existing structure, the main goal was to reduce the weight of the current structural system in order
to alleviate the load on the foundation. To do so, the team decided to change all the exterior and interior
CMUs, by replacing them with gypsum wallboard (GWB) partitions for the interior and prefabricated
wall panels for the exterior. Moreover, the team decided to expand the building vertically by the
addition of two new levels. In order to do so, the team had the challenge of designing for the new
structure, beginning with the material and framing selection process, and then the slab, beams and
columns. Furthermore, the team also decided to include an elevator to the design, where the structural
mechanism would have to be designed for.
The main structural components of the existing AEL building are reinforced concrete columns at
approximately 18” x 20”. The structure is divided into three bays approximately 25.33’ long along the
East/West direction and eight bays approximately 24’ long along the North/South direction. These are
then framed by reinforced concrete beams. The floor slabs are shallow, and both interior and exterior
walls, though non-structural, are made of CMUs, adding significantly to the dead load of each floor.
Figure 16 below shows the existing building framing structure.
30
Figure 16. Existing Building Framing Structure
3.3.1. Replacement of CMU to Reduce Weight Demand
The primary means to reduce the current building weight so as to sustain the new vertical expansion is
to replace the exterior and interior concrete masonry walls. The team has chosen to replace the exterior
envelope walls with prefabricated wall panels, while the interior walls will be placed by gypsum board
partitions (see Figure 17). Table 7 below shows the material properties and an approximate total
reduction of weight by 36,619 kips.
Figure 17. Replacement of CMUs with Lighter Materials
31
Table 7. Material properties and total reduction of weight by replacing CMUs walls
By expanding the building vertically with the addition of two new levels, the AEL building would be
able to increase its occupant capacity. This would be beneficial to Drexel University, since classrooms,
laboratories and faculty spaces would be increased and improved.
3.3.2 Load Calculations
The different types of loads acting on the expansion of the AEL building were determined to be dead
loads, live loads, and snow load on the roof, as well as dead loads and live loads for the 5th floor. The
Minimum Design Loads for Buildings and Other Structures, 2013 Edition, ASCE 7-10 was used to
calculate these load values. Table 8.
Table 8. Live loads of roof and fifth floor
32
Dead Loads
The dead loads are the permanent loads acting axially on the expansion. Table 9 shows the dead load
values for the roof and the 5th floor. The dead load value for the roof is 77.5 pounds per square foot
(psf), and the dead load for the 5th floor was 80 psf.
Table 9. Dead load breakdown for the roof and fifth floor
Live Loads
Live loads are temporary loads acting on the structure rather than permanent loads. Table 10 shows the
live load values used for the roof and 5th floor. These values were taken from Table 4-1 in ASCE 7-
10.
33
Table 10. Live loads breakdown for each floor, with maximum values highlighted
Flat Roof Snow Loads
The snow loads for a flat roof were designed according to Chapter 7 of ASCE 7-10. The AEL is a fully
exposed building in risk category II. Equation 2 was used to calculate the snow load, which was found
to be 15.75 psf.
𝑃𝑓 = 0.7𝐶𝑒 𝐶𝑡 𝐼𝑠 𝑃𝑔 (2)
where 𝐶𝑒 for the fully exposed building is 0.9, the thermal factor, 𝐶𝑡, is 1.00, the risk category II is 1, the
roof slope factor, 𝐼𝑠, is 1, and finally the ground snow load for area of Philadelphia, 𝑃𝑔, is 25 psf.
Seismic Load
The seismic loads acting on the building were calculated according to the Equivalent Lateral Force in
Chapter 12 of ASCE 7-10. Although seismic loads rarely control the lateral load cases in Philadelphia,
AEL new expansion took the loads into consideration in order to prove that it would not control the
lateral load cases.
The building was based on a site class D, because the soil properties under the expansion are unknown.
The structure was also categorized as a seismic design category B. The seismic base shear V (equal to
34
2623 kip) was calculated using Equation 3, and the seismic response coefficient was calculated using
Equation 4.
Cs=SDS/(R/Ie) (3)
𝑉 = 𝐶s 𝑊 (4)
Where the SDS factor is equal to 0.0704, the importance factor, Ie, is 1.00, the response modification
factor, R, is 2, and the effective weight of the building is 186,328 kips.
Wind Loads
Two different types of wind loads were calculated to ensure an accurate representation of the wind
loads. The Mean Wind-Force Resisting System (MWFRS) method in Chapter 28 of ASCE 7-10 was
used to calculate the in-plane wind load shear force on the walls of the expansion. The Components
and Cladding method in Chapter 30 was used to calculate the out of plane wind load forces acting on
the walls. The values for the wind forces are 11.60 psf and 3.98 psf. The velocity pressure was
calculated, and then the internal and external pressure coefficients, G𝐶p, were factored in to provide
the wind load force as in Equation 5 and 6 as follow:
𝑞𝑧 = 0.00256 𝐾𝑧 𝐾𝑧𝑡 𝐾𝑑 𝑉2
(5)
𝑃 = 𝑞 (G𝐶p±G𝐶pi) (6)
Where 𝑞𝑧 is the velocity pressure, 𝐾𝑧 is the velocity pressure exposure category B and equal to 0.82. The
topographic factor, 𝐾𝑧𝑡, is 1, the directionality factor of wind, 𝐾𝑑, is 0.85, the basic wind speed of
Philadelphia at 33’ above ground, V, is 100 mph, the rigid buildings value, G, is 0.8, the windward wall
factor, 𝐶p, is 0.8, and finally for enclosed buildings the value of G𝐶pi is ±0.18.
3.3.3. Load Combinations
Due to the significant difference of the live loads on the 5th floor between the office areas and the
mechanical areas, different live load factors were used in the design of the floor, as shown in Figure
18. The yellow areas are designated to the heavy demand live load of 125 pounds per feet square, where
the green areas are for the office live load.
35
Figure 18. Distribution of live loads for offices and mechanical areas
Governing load combination for roof:
1.2 DL + 1.6 RL + 0.5 WL = 130.8 psf
Governing load combination for the fifth floor:
1.2 DL + 1.6 LL Office = 176 psf
1.2 DL + 1.6 LL Mechanical = 296 psf
3.3.4. Slab Design
The team has chosen precast hollow-core slabs to be placed in the new floors of the AEL. These slabs
offer numerous benefits, such as high load capacities, lower self-weight, long spans, inherent fire and
sound resistance, quick installation, reduced costs, and the ability to install in all weather conditions.
The preliminary design of the precast floor was based on the PCI Design Handbook (7th Ed. 2010)
using the method of span-to-depth ratios to determine the approximate required depth and the flexural
strength.
In the material selection process, the team considered framing dimensions, span-to-depth ratios, gravity
and lateral-force resistance. Each floor has dimensions of 192’ x 76’, and the floors are divided into 24
bays, each 24’ x 25.3’. Each such bay will require six 4’ wide hollow-core normal weight concrete
slabs of length 25.3’. A total of 144 slabs are required per floor.
Figure 19 below shows that the recommended span-to-depth ratio for the floors according to PCI
Design Handbook is 30-40. Thus for our span of 25.3’, the team have chosen slabs with a depth of 8”
36
(our 25.3’ span with 8” thickness gives a ratio of 37.95, which is within the Handbook’s
recommendations).
Figure_19._Placement of the hollow-core slabs on beams
37
The preliminary design of the of the slabs relied on the safe superimposed service load based on the
ACI 318-05, where load factors are 1.2 DL + 1.6 RL + 0.5 WL. The load-carrying capacity of the roof
slab was 130.8 psf. The same procedure was followed for selection of the slab for the 5th floor. Figure
20 shows the selected precast hollow-core slabs with the appropriate depth.
Figure 20. Selected slabs for the roof and fifth floor
3.3.5. Structural Frame of the New Structure
The structural frame for the two additional levels will be placed directly above the existing structural
system, keeping the structural grid consistent with the existing version. This means that the number of
columns will remain the same, as well as the spacing within the columns. The current grid has a total
of 36 columns, symmetrically placed on the intersections of four vertical column lines and nine
horizontal column lines. The structural grid and column spacing can be seen below in Figure 21. The
design team opted for this design mainly because it would allow for an equal distribution of the loading
from the new structural system onto the existing columns. The main focus with this layout is to decrease
the loading amount per column, therefore decreasing the impact on the foundation system.
38
Figure 21. Structural grid and column spacing of the building
After doing a general material selection, the design team decided that steel would be the best option.
The team was looking for a light material that would be able to sustain the loads efficiently. In the AEL
building expansion case scenario, steel provides the following advantages: it is a light material
(meaning it will have less of an impact on the foundations), it allows for an easy installation (therefore
faster construction will interfere less with Drexel’s academics), and it is a cost-effective material with
high durability.
After choosing steel as the primary material, it made sense to design for a steel moment-resisting frame
(MRF), or in other words, a rigid frame structure. In this case, the team would have to design the
following major components: columns, girders, and rigid connections. This framing structure is
beneficial because it provides resistance to lateral forces primarily by the rigid frame action, creating
bending moments and shear forces in the frame members and joints. Since the AEL building expansion
consists of adding only two stories onto a three-story building, this framing structure would be very
efficient to sustain vertical and lateral loads. Moreover, bracings and structural walls would not be
required, due to the numerous columns, so that extra construction beyond the steel framing would not
be necessary.
39
3.3.6. Girder Design
Since the team selected the MRF as the type of framing for the two additional stories of the AEL
building, only the design of the girders was necessary. The girders will span from column to column
on both directions of the structural grid, with the purpose of supporting the concrete slab and the loads.
The design process consisted of designing girders for the roof support and the 5th level support. The
Load and Resistance Factor Design (LRFD) method along with the governing load combinations
mentioned in ASCE 7-05 - Minimum Design Loads for Buildings were used in order to determine the
required strength of the members. A load combination breakdown can be seen in section 3.3.3. Load
Combinations, showing that the governing strength due to the roof loads was 130.8 psf, and the
governing strength due to office loads and mechanical loads in the 5th level were 176 psf and 296 psf,
respectively. Then these factored loads were multiplied by the tributary width of the girders in order to
get the required loading per girder area, and also introduced into equation 7 below in order to get the
factored moment, Ma. Furthermore, both the inertia required for deflection control, as well as the
maximum total deflection, were calculated using the equations below.
(7)
(8)
(9)
In equations 7, 8, and 9, L is the span of the girder, wa is the factored service load, wL is unfactored
service loads, and E is the elastic modulus. After knowing these parameters, the team was able to find
the most efficient shape able to sustain the loads by using the American Institute of Steel Construction
(AISC) Manual. The goal was to find the lightest shape that would meet the moment and shear
requirements of the girders without exceeding the allowable deflection. To do so, Table 3-2 -W Shapes
in the AISC Manual was used to find the appropriate shape. The W Shape was chosen by choosing a
factored moment greater than the one previously calculated with equation 8, where after calculations
the inertia in equation 9 should not exceed the Moment of Inertia provided in the table. Finally, once
these values matched the restrictions previously mentioned, the moment and shear had to be checked
for beam weight. If these requirements were met, then the W Shape selection is adequate for the design.
For girders supporting the roof slab and roof loads, the team decided to keep all the girder shapes
constant, since the loads acting on them were all constant distributed loads. The framing plan shown in
40
Figure 22 shows that W21x44 are the optimum girders to use in the entire roof area. The detailed
numerical breakdown and analysis can be found in Appendix III, Section B, Tables A3-1 and A3-2.
Figure 22. Roof Framing Plan
For the girder design of the 5th level, the team decided that designing for two different spaces would
be adequate. Since the office loading is significantly different than the mechanical loading, as shown
in 3.3.3. Load Combinations, the girder sizes would be different. The girders designed for the office
space would be placed directly underneath the office loading, finding that the adequate girder shape
and size was the same as the girders of the roof, W21x44. The girders designed for the mechanical area
would have to be able to withhold a greater load, so the team decided to size up, finding that W21x62
were accurate. Since designing for a maximum case scenario is the smartest solution, the team decided
to keep the framing selection for the 5th floor constant and use the selected shape throughout, regardless
if the space is office or mechanical. This decision was made just in case the owner decided to change
the layout of the building in the future and more mechanical area was desired. The framing plan shown
in Figure 23 below shows that the W21x62 girder are going to be used on the 5th level slab. Find the
numerical breakdown and analysis in Appendix III, Section B, Tables A3-3 to A3-5.
41
Figure 23. 5th Level Framing Plan
3.3.7. Column Design
For the column design of the steel structure, the team also followed an LRFD-based analysis, using the
AISC Manual again to design for the optimum column shape and size. Since the new steel structure
would only consist of two stories, 24 feet in total height, the option considered best was to have the
same column span the two stories. This means that, when designing for the columns, they would have
to withhold all the loading above the 5th level slab, including the girder loading of both levels, as well
the loading due to dead loads, live loads, roof live loads, etc. As for the girder design, the team had to
design the columns in order for them to efficiently sustain the dead loads and live loads in the fifth
level; therefore, different load combination values were used, as shown in 3.3.3. Load Combinations.
After having factored the load values, these were multiplied by the tributary areas in order to have a
loading per column. The tributary areas for the interior columns and exterior columns were 607.2 SF
and 303.6 SF, respectively. Refer to Appendix III, Section C, Tables A3-6 and A3-7 to see the interior
and exterior load breakdown for the roof and fifth level due to the factored loads and girder loads.
After calculating the loading per column, the team was able to design for the columns. By using the
series of equations provided in the AISC Manual - Specification Section E, the team was able to get
the factored design strength of the columns. With these values, the adequate column sizes were defined.
Table 11 below shows the column design breakdown for the interior and the exterior columns that will
support 5th level slab and the loads acting on it. W12-58 I-beams would suffice to withhold the loads
in the exterior of the building, and W12-72 I-beams would suffice to withhold the loads in the interior.
42
Table 11. Breakdown of the column design for the 5th level
3.3.8. Addition of Elevators
One of the main goals when the team overtook the challenge of renovating the AEL building was adding
an elevator. The idea would be beneficial to the new building, first of all by allowing for a better
circulation, especially because the building is expanding vertically by two stories. The elevator would
allow students and faculty to circulate between stories and the building complex fluently. Secondly, by
adding the elevator on the East side of the Main Building Complex, the building would now have two
accessible entrances, instead of just the on off the quad area.
Designing for the elevator was a challenge because the elevator shaft would have to be squeezed in
between the existing structure without exerting any additional loads on it. After brainstorming, the
simplest solution was to create an 8” concrete masonry unit (CMU) wall around the elevator shaft that
would carry the hoist beam loads down through the walls. That way the shaft would act as an
independent structure, not loading the existing structural elements. The wall should be reinforced and
grouted solid to provide the adequate support. Next, the type of elevator was selected. After the
architectural team set a location for the elevator, the structural team concluded that two elevators could
be placed within the space. For a five story building, hydraulic elevators would be the most effective.
The elevators not only fit with the building’s dimensions and height requirements, but also they affect
the foundations the least. They typically do not require excavation, instead there is a coring process to
core a deep piston under the elevator pit. All elevators require a pit at the lowest level, typically 4’
deep. If the existing columns where undermined, the foundation would have to be underpinned in order
to install the pit. In addition to the elevator pit, a hoist beam should be added at the top, guide rails to
43
carry horizontal forces, and a machine room at the very top of the elevator shaft. Below, in Figure 24,
find a structural model including the CMU wall.
Figure 24. Model showing all three structural components
3.3.10. Total Axial Loading
In order to get the total axial loads exerted on the foundations, the team calculated the loading per
column by using the tributary area method. Figure 25 below models what the tributary area looks like
for a single column, from the roof slab all the way to the foundations. In order to do so, all the roof
loads, as well as dead loads and live loads for every floor where included, as well as the weight of the
girders and slab for both the steel and the concrete structure. Table 12 below, depicts the axial loading
per column exerted on each individual foundation. As predicted, the maximum loading for an exterior
column is 778 kips for column D2, and the maximum loading for an interior column is 1499 kips for
column C2. The columns mentioned are next to each other meaning that their tributary areas are the
ones receiving the majority of the load. By looking at the plans, these columns support mostly lab
space, where the dead loads are 150 psf.
44
Figure 25. Specific tributary area per column
Table 12. Total Axial Loads on Foundations
45
3.3.11. Analytical Model
An analytical model of the building was created using RAM Structural Systems. After designing for
the beams, columns, and the elevator shaft and doing hand calculations, the team decided to model a
design with the calculated numbers to check for the stability of the structure. To begin with, a model
of the three existing levels was created using the existing floor plans provided by the Drexel facilities.
The structural grid was replicated from the existing building, keeping concrete as the primary material.
Then the two new levels were added above, using steel. Once the basic model was created, the designed
girder and column shapes were assigned to the members for an accurate analysis. The CMU elevator
shaft was also included, which would carry down the weight exerted by the elevator loading. RAM did
not provide the exact slab panels that the team had designed for, but the correct dimension and concrete
properties were included, meaning that the variance should be minimal. Regarding loads, RAM treats
loads separately as live load, dead loads, and snow loads, instead of complete load combination
equations, although when they are added, the program automatically factors them.
After running the analysis for the girders and the columns, it was satisfying to know that the hand
calculations were accurate and that the structure would be able to sustain the loads. For the girder
analysis, the total girder deflections for each girder were below the allowable level. Also, for the column
design, a compression analysis was done to the model, showing that all the columns are capable of
sustaining the loads. Refer to Appendix III, Section D, Figures A3-2 to A3-5 for detailed images on the
girder, column and elevator shaft analysis.
46
4. Construction Analysis
4.1 Construction Schedule
As formerly indicated, the estimated time frame for the project is 11 months, and the breakdown is as
represented in Figure 26. June 1, 2016 marks the time the construction is scheduled to commence, with
the first four weeks involving demolition and preparation. The structural work is then scheduled to
begin two months later, after the foundation is verified to be strong enough to sustain the additional
two floors. Structural construction, including the addition of the two stories outlined in Appendix IV,
is estimated to be six months. The demolition for the existing stories and the exterior replacement
(Building Envelope) are to be covered within this time frame. With the structure completed, we will
embark on the aesthetics section and perform the final touches for a period of two months. The next
two months will then be devoted to installing the interior of the building with the necessary utilities,
including lighting and HVAC systems. This should take this long due to the boilers, chillers, and
treatment plant installations to be done in the interstitial space. The final five weeks are to involve
landscaping and clearing any remaining site work. This should see the construction fully complete, as
expected, by May 2017.
47
Figure 26. Construction Time Schedule.
48
4.2. Construction Total Cost
With the project design in place and construction work ready to commence, we have proposed a cost
schedule that covers material and design costs, as well as, total design, labour and services costs, and
fees. Before coming up with estimates for the material, approximations were made for the total cost for
each division. These divisions include mechanical, plumbing work, and architectural and structural
work as the other two divisions. Figure 27 below gives each division an approximate total cost.
Figure 27. Construction Total Cost
4.3. Design, Labor, and Fees Total Costs
The design and labor costs estimates we came up with were based on the determined 11-month
construction time frame by matching the design time against the AEL building renovation. We made
an attempt to accurately arrive at the costs by using positions which are to be part of the crews doing
the design and the actual construction work. Figure 28 below lists the positions and design costs for
our project. Budget for the design and the labor positions was determined using staff numbers per
position, total per-staff hours, and the hourly wage rate for the position. With consideration of all these
factors, the design budget and labor cost estimation totaled at $1.3 million, as shown in Figure 28.
Similarly, the total fees cost is estimated to be $1 million as indicated in Figure 29.
49
Figure 28. Detailed Design Team and Labor Cost
50
Figure 29. Fees Total Cost
The Project’s total cost, together with the necessary structural repairs, is approximated at $4.5 million,
which is inclusive of design, labor, material and the fees costs. The estimates are, however, subject to
change or affirmation once research has been carried out.
51
References
(2013) "ASCE-7: Minimum Design Loads for Buildings and Other Structures."
(2010) "PCI Design Handbook 7th Edition"
(2015) "International Building Code"
(2016) "National Construction Estimator: 64th Edition"
(2016) "National Home Improvement Estimator: 64th Edition"
(2009) “International Mechanical Code”
(2010) “ASHRAE Standard 62.1 - Ventilation for Acceptable Indoor Air Quality”
Sto Panel Technology Prefabricated Panel Systems (2016, February 6). Retrieved from :
http://www.stopanels.com/
52
Appendix I (Architectural)
Figure A1-1. Site Plan Showing Property Location
53
LUDLOW STREET
CHESTNUT STREET
Figure A1-2. New First Level Circulation Plan
54
Figure A1-3. New Second Level Circulation Plan
55
Figure A1-4. New Third Level Circulation Plan
56
Figure A1-5. Fourth Level Circulation Plan
57
Figure A1-6. Fifth Level Circulation Plan
58
Figure A1-7. Existing Building Facade
Figure A1-8. New Building Facade
59
Appendix II (Mechanical)
Table A2-1. Existing to New Floor Area Comparison
Existing Calculations:
Table A2-2. Existing Heat Loss Through Envelope
Table A2-3. Existing Infiltration Calculations Pt.1
60
Table A2-4. Existing Infiltration Calculations Pt.1
Table A2-5. Existing Total Cooling Load Calculations
61
Table A2-6. Internal Cooling Load for Existing
62
Table A2-7. Lighting Heat Gain
Renovated Calculations:
Table A2-8. Renovated Heat Loss Through Envelope
63
Table A2-9. Renovated Infiltration Calculations Pt.1
Table A2-10. Renovated Infiltration Calculations Pt.2
Table A2-11. Renovated Total Cooling Load
64
Table A2-12. Renovated Internal Cooling Load
65
Table A2-13. Renovated Lighting Heat Gain
66
Table A2-14. Supply and Exhaust Air Flow - Floor 1
Table A2-15. Supply and Exhaust Air Flow - Floor 2
67
Table A2-16. Supply and Exhaust Air Flow - Floor 3
Table A2-17. Supply and Exhaust Air Flow - Floor 4
68
Table A2-19. Supply and Exhaust Air Flow - Floor 5
Trane Packaged Rooftop Air Conditioner Brochure:
http://www.trane.com/content/dam/Trane/Commercial/global/products-
systems/equipment/unitary/rooftop-systems/precedent-3-to-10-tons/RT-PRC023AL-
EN_03232016.pdf
69
Appendix III (Structural)
A - Structural Model
Figure A3-1. Model of structural grid of the existing and new structure for the AEL building.
B - Girder Design
Table A3-1. Roof girder design.
70
Table A3-2. Girder design to support roof loads.
Table A3-3. 5th floor girder loading.
71
Table A3-4. Girder design to support the office space in the 5th floor.
Table A3-5. Girder design to support the mechanical space in the 5th floor
72
C - Column Design
Table A3-6. Roof Column Loads per Tributary Area
Table A3-7. 5th Level Column Loads per Tributary Area
73
Section D - Analytical Model
Figure A3-2. RAM Structural model of the existing and new structure.
74
Figure A3-3. Deflection test of the girders in the roof.
75
Figure A3-4. Deflection test of the girders in 5th level.
76
Figure A3-5. Compression test of column of the new steel structure with elevator shaft included.
77
Appendix IV (Construction Management)
Figure A4-1. Materials Cost.
78
Figure A4-2. Design and Labor Cost Schedule.
79
Figure A4-3. Time Schedule for Project Construction

AELSpring2016Report

  • 2.
    1 Executive Summary The AlumniEngineering Labs (AEL) was built in 1950 as part of an extension project to Drexel University’s Main Building Complex. The adjacent building is located on 3141 Chestnut Street, Philadelphia, PA. Originally built and intended to serve as a research facility, the building currently houses research laboratories for different engineering departments, as well as offices for graduate students and most of the Civil, Architectural, and Environmental Engineering (CAEE) department. As a result of the university’s expansion and the increase of students in the engineering sector, AEL fails to fulfill its mission. Moreover, due to the dated construction, the building has a deficient mechanical system and an outdated appearance. This project will consist of renovating the AEL in terms of its architectural, mechanical, and structural systems. The renovation will improve traffic circulation throughout the building and provide a better distribution of spaces, including independent space for each engineering department. The building’s aesthetics will also be renovated to give the building a modern look. With regard to the dated mechanical system, the renovation will provide better HVAC efficiency. In order to do so, the current system will be enhanced with modern equipment, and additional equipment will be placed where needed. Furthermore, the insulation will be improved and the building envelope will be upgraded. With regards to the structural system, the building will be expanded vertically by adding two new floors, allowing for the desired additional square footage. As a result of the building’s dated construction, the team searched for all the information concerning the building from its initial construction stages to the present. The information included floor plans with changes made to them, current structural and foundation conditions, geological surveys of the Philadelphia region, data on the current mechanical system, and, finally, all the preliminary design ideas prior to commencing construction. Verbal surveying was also done of undergraduate and graduate students on the premises, as well as faculty members, to learn of any thermal discomfort, architectural reviews, and potential constraints of the CAEE department. With respect to the mechanical system, an extensive building energy modeling was calculated for heating and cooling demands, and information on the current mechanical units was gathered. To conclude, the challenges have been defined, and information has been gathered to further analyze and design in order to address these challenges. The team is still searching for more detailed information on the structural system, especially foundation plans that will verify if the foundation can sustain the load of the two additional stories. If the foundation is not capable of supporting the loads, there are alternatives, such as changing the building’s envelope to a lighter material or horizontally expanding the building. From an architectural standpoint, more office spaces will be added for faculty members and graduate students, and the laboratories will be renovated to pursue their needs. An elevator will also be added to the building, along with an entrance to improve circulation. Ultimately, in order to achieve thermal comfort, the mechanical system must be redesigned and enhanced with smart HVAC units, with the addition of new equipment on the additional floors that has been proposed to be added.
  • 3.
    2 Table of Contents ChapterPage 1. Project Background……………………………………………………………………....……..4 2. Current Conditions of the Alumni Engineering Labs…………………………………..……....4 2.1. Architectural………………………………………………………………....…….....4 2.1.1. Current Floors…………………………………………………..…………..5 2.1.2. Current Circulation……………………………………...…….…..………..8 2.1.3. Current Aesthetics…………………………...……….………………..........8 2.2. Mechanical / HVAC………………………………………………...…………..........8 2.2.1. Current HVAC Equipment ………………………………....……………...8 2.2.2. Current Building Envelope Thermal Performance………...........….……..10 2.2.3. HVAC Load Calculation………………………....………...……….……..10 2.3. Structural...…………………………………………………………………………..11 2.3.1. Current Condition. ………………………………………...……………...11 2.3.2. Foundation …………………………………………………….…..……...11 2.3.3. Structural Frame …………………………………………...….…..……...12 2.3.4 Building Envelope………………………………………….……………...12 2.3.5. Load Demand ………………………………………………….......……..12 3. Improvements………………………………………………………………….……...………13 3.1. Architectural……………………………………………………………...…………13 3.1.1. New Floor Planning ……………………………………………...……….13 3.1.2. New Circulation …………………………………………………………..19 3.1.3. New Aesthetics……………………………………………………...…….19 3.2. Mechanical / HVAC………………………………………………………...………20 3.2.1. Renovation of Building Envelope System………………………………...20 3.2.2. Renovated HVAC Load Calculations ………………………..…...……....21 3.2.3. Rearrangement of Existing HVAC Equipment / New Equipment …...…..23 3.2.4. Rearrangement of HVAC Zones………………………………....………..24 3.2.5 System Selection and Sizing……………………………………………….29 3.3. Structural…………………………………………………………………………….29 3.3.1. Replacement of Existing CMU to Reduce Weight Demand………….......30 3.3.2. Load Calculations……………………………………………..……...…...31 3.3.3. Load Combinations…………………………………………….……….....34 3.3.4. Slab Design…………………………………………………....…………..35 3.3.5. Structural Frame of New Structure………………………………..….…...37 3.3.6. Girder Design…………………………………………..………..………...39 3.3.7. Column Design……………………………………………………...…….41 3.3.8. Addition of Elevators…………………………………………………...…42
  • 4.
    3 3.3.9. Total AxialLoading…………………………………….……...………….43 3.3.10. Analytical Model………………………………………………..……….45 4. Construction Analysis…………………………………………………….…………………...46 4.1. Construction Schedule……………………………………………………..………..46 4.2. Material Costs………………………………………………………...……………..48 4.3. Design, Labor, and Fees Total Costs……………………………………...…...…....48 References……………………………………………………………………..…………............51 Appendix I (Architectural)………………………………………...…………………..………....52 Appendix II (Mechanical)……………………………………………………………..…………59 Appendix III(Structural)…………………………………………………………………………69 Appendix IV (Construction Management) …………………………...………………………....77
  • 5.
    4 1. Project Background TheAlumni Engineering Labs (AEL) is located at 3141 Chestnut Street, in Philadelphia, PA, on Drexel University's campus. The building was erected in 1950 as part of the Drexel Institute, and intended to serve as a research facility. With a total of 51,216 square feet, the three-story building is now primarily used for faculty and graduate students’ offices, and as laboratory space for the Civil, Architectural and Environmental Engineering (CAEE) department and the Mechanical Engineering and Mechanics (MEM) department. The building also contains some classrooms and conference rooms. Due to the growth of Drexel’s campus over the years, and an increase in the number of students, the AEL has experienced a space shortage, making it difficult to fulfill its mission. Furthermore, the building lacks proper heating, ventilation, and air conditioning controls. The building does not meet the current needs of thermal comfort for the facility and its occupants. The renovations to be considered in the scope of this project are primarily to expand the capacity of the building; to increases office, laboratory, and class space; and to provide new support facilities. In addition to the measures to increase capacity, the HVAC system and the building envelope must be improved in order to reduce the dependence on local utilities that sustain the building. 2. Current Conditions of the Alumni Engineering Labs 2.1. Architectural The architectural system of the AEL building needs major improvements in floor planning, space circulation, and aesthetics. There is a shortage of space in this three-floor building; a few graduate offices are clustered with many small cubicles, and this is not suitable for long hours of work. There is also a poor distribution of the CAEE department offices and insufficient office space for the MEM department offices. Traveling from one part of any floor to another is impossible without walking back through Curtis Hall’s hallways. Improving this building’s overall architectural system will increase the occupants’ comfort level, and surely be reflected in the work quality of both students and faculty members.
  • 6.
    5 2.1.1. Current Floors CHESTNUTSTREET Figure 1. Current First Level Plan The lowest floor currently contains most of the labs in this building, and it is primarily dedicated to that usage. Using the first floors for labs that require heavy equipment is a smart decision, since it is not recommended to have heavy equipment on higher floors. In this case, the heavy equipment is not contributing much to the structural stresses. One graduate office is at the center of this floor for the purpose of allowing graduate students easy access to the labs. The north half and south half of this floor are not connected. People using those labs have to circulate back to Curtis, and in some cases must use a hidden staircase to access the labs at the south half.
  • 7.
    6 Figure 2. CurrentSecond Level Plan On the second floor, there are fewer labs, more computer labs, and the MEM offices. Space distribution on this floor is orderly. Labs are on one half of the floor, surrounding a couple of graduate offices. This layout is convenient for those graduate students who want direct access to the labs. The other half of the first floor contains two large computer labs for the MEM department. Those are open to one of the lower level mechanical labs for ease of access for students who use both spaces. Finally, on the same floor, there are fifteen MEM department faculty offices running along the south wall of the building, extending from Curtis Hall.
  • 8.
    7 Figure 3. CurrentThird Level Plan On the third floor, spaces are not well-used or -distributed. There is a conference room and a single classroom in between labs on one side and graduate offices on the other. The CAEE department offices are divided into many parts on this floor, which is not an efficient distribution. This distribution often confuses students and department visitors, as a proper path to reaching all the offices is not recognizable or even necessarily available. Similarly, the graduate student offices are at different locations, although they are relatively close to the labs they use. In general, there is not enough space for rooms to be well- distributed.
  • 9.
    8 2.1.2. Current Circulation Amajor concern with the building is access to and from it. Reaching this building requires entry from the Main Building, then walking through both Randell and Curtis halls. There are two exit doors open to Chestnut Street on the south side of the building, and Ludlow Street on the north side, but those doors are not used as entrance points. Faculty members who park in Drexel lot F have to walk the length of two blocks to get into the building, even though the parking lot is conveniently adjacent to it. Labs on the first floor are not connected by a hallway, which forces people to walk back to Curtis. Many students attending the Hydraulics lab at the south half have to access a staircase from a hidden location within the AEL. As for the comfort of circulation between floors, there is only one elevator found in the Main Building, which forces faculty members to walk a tedious maze of hallways through several buildings to reach their office on the upper floor of the AEL. Lastly, the CAEE department is not unified in one location. This reduces the amount of interaction that is possible between the department’s members on either end of the floor. 2.1.3. Current Aesthetics The building’s architectural aesthetics are quite dated and reflect the time when it was built (1950). The Main Building, Randell Hall, and Curtis Hall look historic in comparison to the AEL. Their design is not considered outdated because of the orange masonry, sculptures, and iconic pillars on their façades. On the other hand, the AEL building’s façade, facing Chestnut Street, is very unattractive. The colors used are grey, faded olive green, and turquoise. The simple architectural design is not proper for a building that houses the Civil and Architectural department, especially when compared to newer, more visually attractive buildings on campus. The east wall, facing Lot F and the railway, is blank due to soundproofing reasons. It is bright masonry brick, which does not transition well from the darker façade on Chestnut. The north side looks very simple and unkempt. It might not be a side that is often seen, but it is an extension of the most important building on campus, the Main Building. 2.2. Mechanical / HVAC The HVAC for the AEL building is a combination of systems. Heating is supplied from steam provided by Trigen, through finned tube radiators usually located around the perimeter of the building. Cooling, on the other hand, is supplied through multiple air handling units on each floor. A mixture of both water loop and refrigerant loop air handling units are used in the building. Different air handling units are responsible for different zones of the building. 2.2.1. Current HVAC Equipment The building’s HVAC was surveyed for details on the cooling systems. The lower level/ground floor of the building has three air handling units but four zones, with one zone being supplied by an air handling unit located on the first floor. Two of the air handling units are refrigerant loop supplied by two condensers, located outside and close to the northeast and southeast corners of the building. The third air handling unit is a chilled water air handling unit supplied by the cooling tower that is on the
  • 10.
    9 roof of thebuilding. The first floor has eight zones with eight separate air handling units serving each zone. Finally, the second floor has five separate air handling units with more than five zones. The second floor also has a “Variable Air Volume” (VAV) system installed for most of the offices. This type of system offers a high degree of temperature control for different areas. At each zone, a thermostat controls the room temperature by using dampers to regulate the volume of air being discharged by the diffuser. The building has a total of 16 air handling units. The table below shows the existing HVAC equipment and locations. Table 1: Existing HVAC Equipment and Location The problem with the cooling system is that the entire area served by the air handling unit is a single zone, with no possibility for individual temperature control. Likewise, the heating system provides little to no possibility for individual temperature control. The radiators are set at a specific temperature with a single thermostat, providing equal amounts of heat to a unified zone. The issue here is that individual temperature control is very important for occupant comfort and productivity. The current HVAC systems provides little to no individual control. Upon asking occupants and faculty in the building about how thermally comfortable the building is, 90% of occupants complained that it was either too hot or too cold. The 10% of occupants who were comfortable were mainly on the second floor, where the VAV system is installed, allowing for individual temperature control.
  • 11.
    10 2.2.2. Current BuildingEnvelope Thermal Performance The building envelope used for the AEL was designed for cost efficiency. The walls consist of brick veneer and concrete masonry units (CMUs). The insulation provided by the current wall system is poor, with an R-value of about 2.406. The problem with the low R-value wall is that heat gain and heat loss through the wall would greatly minimize the efficiency of the HVAC system, creating a higher energy demand. About 54% of heat is lost through the envelope. On the other hand, the windows are single pane glass with an R-value of 1.127, and about 22% of heat is lost through the windows. The roof of the building consists of ballasted asphalt, cellulose insulation, and a concrete slab, in the order listed. The roof has an R-value of 6.285, the highest R-value out of all the building envelope components. About 23% of the heat is lost through the roof. Detailed information about the building envelope components can be found in Appendix II. 2.2.3. HVAC Load Calculation An extensive calculation of building heating and cooling demands was calculated for the existing and renovated building conditions. In order to calculate the heating and cooling loads, a variety of variables had to be defined and specific weather and location data obtained. Initially, the building height, floor to floor height, total square footage, and footprint were measured and determined. Subsequently, the window to wall ratios for the south, east, and north façade were calculated. Design conditions were set as seen below in Table 2. Table 2: HVAC Load Design Conditions Using the building envelope data obtained, the heat loss through the envelope was calculated with the following formula: Q = U x A x ∆T (0) In the equation 1 above, the Q stands for the heat transfer rate/heat loss rate in British Thermal Units per Hour (BTU). The U, on the other hand, is the conductivity of the envelope component, which is also equal to one over the R-value. The A value is the area of the component, and T is the dry bulb temperature difference of the inside and outside. The sum of the total heat loss through every component of the envelope is then calculated. Subsequently, 15% of the total heat loss through the envelope is calculated and then added to itself to obtain the final heat loss rate. The additional 15% accounts for the piping heat loss. The total heat loss of the building came out to 1,360,000 BTU/hr.
  • 12.
    11 The cooling load,on the other hand, is a much more complex calculation that includes the building envelope heat transfer, solar heat, infiltration, lighting, and internal heat gains. The peak load was calculated for the hottest day of the year, which is July 21st. The peak cooling load is 1,127,000 BTU/hr, which is about 94 tons of cooling. For detailed calculations refer to Appendix II. 2.3. Structural 2.3.1. Current Condition As the AEL is a public space, the structure has endured consistent demand. In order for the building to serve the purpose of housing engineering department staff, laboratory space, conference and classrooms, the structure must be analyzed to determine if potential modifications need to be made to extend its efficacy and integrity. The analysis of the current state of the building is crucial; it dictates whether the structure can withstand potential design changes. The first step of the evaluation is a review and analysis of the original design documentation to understand the method and intent of design. The University currently has a copy of the original construction plans, provided by Simon and Boulware Architects and Engineers. Secondly, it is necessary to examine the current condition of the building and identify any design modifications that have been executed since the original construction. International Existing Building Code, 2015 (IBEC) and International Building Code 2009 (IBC) provide the procedure to evaluate the current condition of the building. Lastly, ASCE 7-10: Minimum Design Loads for Buildings and Other Structures (ASCE- 7) offers the techniques for design that are used to complete the analysis of the current state of the building and determine if it follows code. 2.3.2. Foundation The AEL building was built in 1950 and is one of Drexel’s historical architectural pieces, so exact information on the foundation was not available. However, by employing our engineering skills and observing the soil properties in the Philadelphia region, we were able to come up with a number of assumptions. The Philadelphia region naturally has a low bedrock depth and a low evident water table in comparison to other regions. This observation, combined with the large mass and weight of the AEL building, suggests that a deep foundation was used. Furthermore, from looking at the original foundation plans, the foundation of the building is designed as a spread footing that transfers the load from the columns to the foundation. A number of faculty members were asked to advise the group of the current foundation conditions, and they all expressed their confidence that it is strong enough to sustain the loads of the two additional floors that we propose to add. However, the best solution going forward is to obtain real-life data in order to confirm the assumptions made by the group.
  • 13.
    12 2.3.3. Structural Frame Analysisof the original design shows that the building is designed with a reinforced concrete frame, with beams running north to south and girders running east to west. The original design was later modified to accommodate a third floor. The addition of another floor required the raising of the roof structure and the new floor had to be similar to the first floor. Floor slabs are shallow, and both interior and exterior walls, though non-structural, are made of CMUs, adding significantly to the dead load of each floor. The roof of AEL is a concrete slab with bitumen sheet insulation covered with gravel. The lower level shows some visible wear and has therefore been analyzed more consistently; however, overall, the building shows little sign of aging and no sign of previous repairs or modifications. 2.3.4. Building Envelope The building envelope used for the AEL was designed for cost efficiency. The walls consist of brick veneer and CMUs. The insulation provided by the current wall system is poor, with an R-value of 2.406. The problem with the low R-value wall is that heat gain and loss through the wall would greatly minimize the efficiency of the HVAC system, creating a higher energy demand. About 54% of heat is lost through the envelope. On the other hand, the windows are single pane glass with an R-value of 1.127. About 22% of heat is lost through the windows. The roof of the building consists of ballasted asphalt, cellulose insulation, and a concrete slab, in the order listed. The roof has an R-value of 6.285, the highest R-value out of all the building envelope components. About 23% of the heat is lost through the roof. 2.3.5. Load Demand Due to its dual function as office and class/conference space, the building requires high levels of both dead and live load. Furthermore, the laboratory spaces create an added complication to the demand criteria, and load requirements are increased by the unique ventilation needs and the resulting various mechanical spaces through each floor. Any changes to the layout or locations of significant load items will change the demand to specific areas of the building, and should be evaluated. Increased demand in any given area could require appropriate strengthening and modifications to the area.
  • 14.
    13 3. Improvements 3.1. Architectural Easeof access into the AEL building is the most important problem to be resolved. A lobby area on the south near Chestnut Street and Lot F would make access into the building more efficient, and would improve the building’s circulation. An elevator in this proposed lobby location would serve all floors, and work alongside the staircase for floor to floor flow. Having both options within close proximity to each other in the lobby area would be an enhancement to the building. In addition to a lobby, the building needs a faculty break room, a common study area for students, more faculty office space, and a larger, properly equipped conference room. 3.1.1. New Floor Planning Since the building will not be demolished, the three existing floors will be repurposed by removing and adding walls and partitions where needed. The existing staircase will be demolished and replaced by two staircases at opposite ends of the building. Two mechanical rooms on each floor will service the varying HVAC needs of the various spaces. Also, two restrooms will be conveniently placed on each floor, where the existing restrooms are, to make use of the plumbing. With the new layout, lab space will increase by 5%, office space by 35%, classroom space by 670%, and conference and meeting room space by 270%. The following pages show these new plans in small scale. Appendix I contains large scale plans.
  • 15.
    14 LUDLOW STREET CHESTNUT STREET Figure4. New First Level Plan The new layout completely changes the purpose of this floor. Facing Chestnut Street is a large lobby area, as is fitting for a multipurpose building such as the AEL. Close to the lobby is an elevator waiting area, and a new staircase is conveniently placed to service travel throughout the building. A new hallway cuts through one of the labs to connect the north and south halves of this floor. The electrical rooms remain where they are, and a mechanical room servicing the two elevators is added adjacent to the elevator shaft. Finally, two restrooms are added to this floor.
  • 16.
    15 Figure 5. NewSecond Level Plan The purpose of this floor remains unchanged. With the new layout, it still contains labs, graduate offices, two computer labs, and the MEM offices. The change in space distribution in relation to the new lobby-like area in front of the elevators and staircase greatly benefits both circulation and space management. Half of the MEM offices remain on this floor, thus gaining floor area, while the remaining half of the MEM offices are moved upstairs to the third floor.
  • 17.
    16 Figure 6. NewThird Level Plan This floor is completely repurposed from what it used to be. Similar to the floor below it, it contains additional labs, graduate offices, and the MEM offices. The rooms that used to be on this floor are moved up to the new fourth and fifth floors, where they are given extra space and better circulation.
  • 18.
    17 Figure 7. NewFourth Level Plan With this newly designed fourth floor, five classrooms will be available to both CAEE and MEM students. The classrooms are large enough to comfortably contain up to 30 students. An additional computer lab will be dedicated to the Digital Concentration for Architectural Engineering students. A large conference room with an adjacent meeting room will be facing Chestnut Street for an admirable view of the city.
  • 19.
    18 Figure 8. NewFifth Level Plan The fifth and last floor is completely purposed and designed for the CAEE department. Unlike the way in which the department’s offices are currently laid out, this new layout unifies the department by having a reception area, a central meeting room, a kitchen lounge area, and a copy room. With 25 medium-sized offices and two large ones facing Chestnut Street, this floor’s occupant will undoubtedly be satisfied.
  • 20.
    19 3.1.2. New Circulation Circulationis greatly improved, especially on the existing floors, with the new layout of the rooms. The lobby area on each floor, with two elevators and a staircase, benefits the vertical circulation as it gives occupants a better sense of direction. Also, with the lobby’s location facing Chestnut Street, building occupants and visitors will not be required to access the Main Building to reach the AEL through Randell Hall and Curtis Hall. There is also an entrance point on the opposite side facing Ludlow Street where there is heavy foot traffic close to the food trucks. On the first, second, and third floors, the hallways between labs and graduate offices are efficient for that purpose. Since those labs are mainly used by graduate students, foot traffic in those hallways is minimal, which is reflected in the design. On the other hand, hallways on the fourth floor can accommodate a large number of students at certain times in between classes. Lastly, for the fifth floor, the east and west wing layout of CAEE offices is easier to navigate through. There is at least one access point on each floor to Curtis Hall. Also, the two staircases on opposite ends of the building are convenient for those who prefer to not use the elevators, and as a means of egress in case of an emergency. 3.1.3. New Aesthetics The new exterior design of the AEL building takes a classical, timeless look that is more suitable alongside the Main Building, Randell Hall, and Curtis Hall. Since those adjacent building have historic looks that Drexel desires to keep preserved and unchanged, it was only logical to go for a similar look with our new design. The ground floor’s facade is cobbled to make it look uniform with Curtis hall. The next three floors have large, arched windows that extend five feet in width and 10 feet in height. The last floor has more windows to give the building the illusion of height. Figure 9. New Building Facade
  • 21.
    20 3.2. Mechanical /HVAC 3.2.1 Renovation of Building Envelope System An extensive research of building envelope systems was conducted and a selection was made for each component of the envelope. The primary factors of the selection process were an increase in thermal insulation and a decrease in envelope weight. The wall system selected for the building was the Sto precast panels. The panels have an R-value of 31. The wall system consists of 11 components: steel frame, gypsum sheathing, StoGuard waterproof air barrier membrane, Sto Insul-X, metal perimeter channel, slip sheet, Sto Cast bed reinforced, Sto primer, Sto textured finish, and Sto Coat. Figure 10: Sto Precast Wall Panel
  • 22.
    21 In addition, thewindow to wall ratio has been decreased from 19.0% to 17.6%. This further minimizes heat loss through windows/glass. Tables 3 and 4 shows the breakdown of the current window to wall areas and ratios in more detail. Table 3. Existing Window to Wall Ratio and Areas Table 4: Renovated + Annexation Window to Wall Ratio and Areas Lastly, the composition of the roof of the building was also changed; a hollow concrete slab was selected instead of a concrete slab. The roofing insulation was changed from cellulose to polyisocyanurate, increasing the R-value of the insulation by 10.185. 3.2.2 Renovated HVAC Load Calculations Similarly, the HVAC loads for the building after its renovation were calculated. Initially, only the first three floors were calculated, minus the proposed annexation, to compare the difference in and the effect the envelope has on the loads. The renovated heating load of the first three floors is 336,000 BTU/hr, which is a decrease of 788,700 BTU/hr. The cooling and heating loads for the two-story annexation were then calculated and added to the value of heating and cooling of the three existing floors. The total heating load of the building is 477,200 BTU/hr and the total cooling load is 1,500,000 BTU/hr, which is 125 tons. Additionally, the supply and exhaust volumetric airflow rates were calculated for each room of the building using the (2010) ASHRAE Standard 62.1. Using room areas obtained from room schedules created by the Revit model, the occupancy, breathing zone outdoor, and exhaust airflows were calculated. Vbz = (Rp x Rz) + (Ra x Az) (1) Equation 2 above is the breathing zone outdoor airflow equation. The Rp value represents the people outdoor airflow rate in cfm per person. The Rz value is the number of occupants in the specified area.
  • 23.
    22 On the otherhand, Ra is the area outdoor airflow rate in CFM per square foot. Lastly, Az is the specified area. The Rp and Ra values were obtained from the (2009) International Mechanical Code. The total supply airflow was calculated to be 12,149 CFM, and the total exhaust airflow 3,300 CFM. The table below shows the calculation for the first floor breathing zone outdoor and exhaust airflows. Refer to Appendix II for the rest of the floors. Table 5. Breathing zone outdoor and exhaust airflow calculations
  • 24.
    23 3.2.3 Rearrangement ofExisting HVAC Equipment/New Equipment Table 6. Rearrangement of Existing HVAC Equipment Table 6 above shows the rearrangement of the existing HVAC equipment to suit the new layout of the building. An extra 10 tons of cooling is required to meet the building's new total cooling HVAC load. The two options that are considered to meet the total cooling load are: a 10-ton packaged rooftop unit, or two DX cooling cabinet air handling units. Units that use chilled water cannot be used due to the fact that the cooling tower is already at its maximum capacity. Additionally, for the current air handling units that are going to be connected to VAV boxes, variable frequency drives are required to control the fan speed, because when the VAV boxes reduce the airflow to a specific zone, the fan speed of the air handling unit needs to be adjusted accordingly to avoid a change in the flow rate to other zones. A proposed 19 VAV boxes are required for the new layout of the HVAC zoning.
  • 25.
    24 3.2.4 Rearrangement ofHVAC Zones Figure 11. HVAC Zoning Ground Floor
  • 26.
    25 Figure 12. HVACZoning First Floor
  • 27.
    26 Figure 13. HVACZoning Second Floor
  • 28.
    27 Figure 14. HVACZoning Third Floor
  • 29.
    28 Figure 15. HVACZoning Fourth Floor
  • 30.
    29 The figures displaythe new HVAC zoning plan of the building. The building has a total of 31 zones. Each zone placed to meet specific loads and allow for proper temperature control according to room location and purpose. 3.2.5 System Selection, and Sizing The process of system selection started with looking at the existing equipment and the tonnage of cooling that they supply. As stated previously with the renovations and annexation of two floors the building requires 10 more tons of cooling. The existing cooling tower used for the existing air handling units is at maximum capacity. This means that installing air handling units that use chilled water coils for cooling would require installing a new cooling tower. To simplify, a packaged rooftop air conditioner system was selected. The unit is manufactured by Trane and it provides 10 tons of cooling and is sized to supply the proper amount of airflow to all the it would be supplying. For more details view the product brochure in Appendix II. 3.3. Structural The team proposed to change the structural system of the AEL building to make it more efficient. For the existing structure, the main goal was to reduce the weight of the current structural system in order to alleviate the load on the foundation. To do so, the team decided to change all the exterior and interior CMUs, by replacing them with gypsum wallboard (GWB) partitions for the interior and prefabricated wall panels for the exterior. Moreover, the team decided to expand the building vertically by the addition of two new levels. In order to do so, the team had the challenge of designing for the new structure, beginning with the material and framing selection process, and then the slab, beams and columns. Furthermore, the team also decided to include an elevator to the design, where the structural mechanism would have to be designed for. The main structural components of the existing AEL building are reinforced concrete columns at approximately 18” x 20”. The structure is divided into three bays approximately 25.33’ long along the East/West direction and eight bays approximately 24’ long along the North/South direction. These are then framed by reinforced concrete beams. The floor slabs are shallow, and both interior and exterior walls, though non-structural, are made of CMUs, adding significantly to the dead load of each floor. Figure 16 below shows the existing building framing structure.
  • 31.
    30 Figure 16. ExistingBuilding Framing Structure 3.3.1. Replacement of CMU to Reduce Weight Demand The primary means to reduce the current building weight so as to sustain the new vertical expansion is to replace the exterior and interior concrete masonry walls. The team has chosen to replace the exterior envelope walls with prefabricated wall panels, while the interior walls will be placed by gypsum board partitions (see Figure 17). Table 7 below shows the material properties and an approximate total reduction of weight by 36,619 kips. Figure 17. Replacement of CMUs with Lighter Materials
  • 32.
    31 Table 7. Materialproperties and total reduction of weight by replacing CMUs walls By expanding the building vertically with the addition of two new levels, the AEL building would be able to increase its occupant capacity. This would be beneficial to Drexel University, since classrooms, laboratories and faculty spaces would be increased and improved. 3.3.2 Load Calculations The different types of loads acting on the expansion of the AEL building were determined to be dead loads, live loads, and snow load on the roof, as well as dead loads and live loads for the 5th floor. The Minimum Design Loads for Buildings and Other Structures, 2013 Edition, ASCE 7-10 was used to calculate these load values. Table 8. Table 8. Live loads of roof and fifth floor
  • 33.
    32 Dead Loads The deadloads are the permanent loads acting axially on the expansion. Table 9 shows the dead load values for the roof and the 5th floor. The dead load value for the roof is 77.5 pounds per square foot (psf), and the dead load for the 5th floor was 80 psf. Table 9. Dead load breakdown for the roof and fifth floor Live Loads Live loads are temporary loads acting on the structure rather than permanent loads. Table 10 shows the live load values used for the roof and 5th floor. These values were taken from Table 4-1 in ASCE 7- 10.
  • 34.
    33 Table 10. Liveloads breakdown for each floor, with maximum values highlighted Flat Roof Snow Loads The snow loads for a flat roof were designed according to Chapter 7 of ASCE 7-10. The AEL is a fully exposed building in risk category II. Equation 2 was used to calculate the snow load, which was found to be 15.75 psf. 𝑃𝑓 = 0.7𝐶𝑒 𝐶𝑡 𝐼𝑠 𝑃𝑔 (2) where 𝐶𝑒 for the fully exposed building is 0.9, the thermal factor, 𝐶𝑡, is 1.00, the risk category II is 1, the roof slope factor, 𝐼𝑠, is 1, and finally the ground snow load for area of Philadelphia, 𝑃𝑔, is 25 psf. Seismic Load The seismic loads acting on the building were calculated according to the Equivalent Lateral Force in Chapter 12 of ASCE 7-10. Although seismic loads rarely control the lateral load cases in Philadelphia, AEL new expansion took the loads into consideration in order to prove that it would not control the lateral load cases. The building was based on a site class D, because the soil properties under the expansion are unknown. The structure was also categorized as a seismic design category B. The seismic base shear V (equal to
  • 35.
    34 2623 kip) wascalculated using Equation 3, and the seismic response coefficient was calculated using Equation 4. Cs=SDS/(R/Ie) (3) 𝑉 = 𝐶s 𝑊 (4) Where the SDS factor is equal to 0.0704, the importance factor, Ie, is 1.00, the response modification factor, R, is 2, and the effective weight of the building is 186,328 kips. Wind Loads Two different types of wind loads were calculated to ensure an accurate representation of the wind loads. The Mean Wind-Force Resisting System (MWFRS) method in Chapter 28 of ASCE 7-10 was used to calculate the in-plane wind load shear force on the walls of the expansion. The Components and Cladding method in Chapter 30 was used to calculate the out of plane wind load forces acting on the walls. The values for the wind forces are 11.60 psf and 3.98 psf. The velocity pressure was calculated, and then the internal and external pressure coefficients, G𝐶p, were factored in to provide the wind load force as in Equation 5 and 6 as follow: 𝑞𝑧 = 0.00256 𝐾𝑧 𝐾𝑧𝑡 𝐾𝑑 𝑉2 (5) 𝑃 = 𝑞 (G𝐶p±G𝐶pi) (6) Where 𝑞𝑧 is the velocity pressure, 𝐾𝑧 is the velocity pressure exposure category B and equal to 0.82. The topographic factor, 𝐾𝑧𝑡, is 1, the directionality factor of wind, 𝐾𝑑, is 0.85, the basic wind speed of Philadelphia at 33’ above ground, V, is 100 mph, the rigid buildings value, G, is 0.8, the windward wall factor, 𝐶p, is 0.8, and finally for enclosed buildings the value of G𝐶pi is ±0.18. 3.3.3. Load Combinations Due to the significant difference of the live loads on the 5th floor between the office areas and the mechanical areas, different live load factors were used in the design of the floor, as shown in Figure 18. The yellow areas are designated to the heavy demand live load of 125 pounds per feet square, where the green areas are for the office live load.
  • 36.
    35 Figure 18. Distributionof live loads for offices and mechanical areas Governing load combination for roof: 1.2 DL + 1.6 RL + 0.5 WL = 130.8 psf Governing load combination for the fifth floor: 1.2 DL + 1.6 LL Office = 176 psf 1.2 DL + 1.6 LL Mechanical = 296 psf 3.3.4. Slab Design The team has chosen precast hollow-core slabs to be placed in the new floors of the AEL. These slabs offer numerous benefits, such as high load capacities, lower self-weight, long spans, inherent fire and sound resistance, quick installation, reduced costs, and the ability to install in all weather conditions. The preliminary design of the precast floor was based on the PCI Design Handbook (7th Ed. 2010) using the method of span-to-depth ratios to determine the approximate required depth and the flexural strength. In the material selection process, the team considered framing dimensions, span-to-depth ratios, gravity and lateral-force resistance. Each floor has dimensions of 192’ x 76’, and the floors are divided into 24 bays, each 24’ x 25.3’. Each such bay will require six 4’ wide hollow-core normal weight concrete slabs of length 25.3’. A total of 144 slabs are required per floor. Figure 19 below shows that the recommended span-to-depth ratio for the floors according to PCI Design Handbook is 30-40. Thus for our span of 25.3’, the team have chosen slabs with a depth of 8”
  • 37.
    36 (our 25.3’ spanwith 8” thickness gives a ratio of 37.95, which is within the Handbook’s recommendations). Figure_19._Placement of the hollow-core slabs on beams
  • 38.
    37 The preliminary designof the of the slabs relied on the safe superimposed service load based on the ACI 318-05, where load factors are 1.2 DL + 1.6 RL + 0.5 WL. The load-carrying capacity of the roof slab was 130.8 psf. The same procedure was followed for selection of the slab for the 5th floor. Figure 20 shows the selected precast hollow-core slabs with the appropriate depth. Figure 20. Selected slabs for the roof and fifth floor 3.3.5. Structural Frame of the New Structure The structural frame for the two additional levels will be placed directly above the existing structural system, keeping the structural grid consistent with the existing version. This means that the number of columns will remain the same, as well as the spacing within the columns. The current grid has a total of 36 columns, symmetrically placed on the intersections of four vertical column lines and nine horizontal column lines. The structural grid and column spacing can be seen below in Figure 21. The design team opted for this design mainly because it would allow for an equal distribution of the loading from the new structural system onto the existing columns. The main focus with this layout is to decrease the loading amount per column, therefore decreasing the impact on the foundation system.
  • 39.
    38 Figure 21. Structuralgrid and column spacing of the building After doing a general material selection, the design team decided that steel would be the best option. The team was looking for a light material that would be able to sustain the loads efficiently. In the AEL building expansion case scenario, steel provides the following advantages: it is a light material (meaning it will have less of an impact on the foundations), it allows for an easy installation (therefore faster construction will interfere less with Drexel’s academics), and it is a cost-effective material with high durability. After choosing steel as the primary material, it made sense to design for a steel moment-resisting frame (MRF), or in other words, a rigid frame structure. In this case, the team would have to design the following major components: columns, girders, and rigid connections. This framing structure is beneficial because it provides resistance to lateral forces primarily by the rigid frame action, creating bending moments and shear forces in the frame members and joints. Since the AEL building expansion consists of adding only two stories onto a three-story building, this framing structure would be very efficient to sustain vertical and lateral loads. Moreover, bracings and structural walls would not be required, due to the numerous columns, so that extra construction beyond the steel framing would not be necessary.
  • 40.
    39 3.3.6. Girder Design Sincethe team selected the MRF as the type of framing for the two additional stories of the AEL building, only the design of the girders was necessary. The girders will span from column to column on both directions of the structural grid, with the purpose of supporting the concrete slab and the loads. The design process consisted of designing girders for the roof support and the 5th level support. The Load and Resistance Factor Design (LRFD) method along with the governing load combinations mentioned in ASCE 7-05 - Minimum Design Loads for Buildings were used in order to determine the required strength of the members. A load combination breakdown can be seen in section 3.3.3. Load Combinations, showing that the governing strength due to the roof loads was 130.8 psf, and the governing strength due to office loads and mechanical loads in the 5th level were 176 psf and 296 psf, respectively. Then these factored loads were multiplied by the tributary width of the girders in order to get the required loading per girder area, and also introduced into equation 7 below in order to get the factored moment, Ma. Furthermore, both the inertia required for deflection control, as well as the maximum total deflection, were calculated using the equations below. (7) (8) (9) In equations 7, 8, and 9, L is the span of the girder, wa is the factored service load, wL is unfactored service loads, and E is the elastic modulus. After knowing these parameters, the team was able to find the most efficient shape able to sustain the loads by using the American Institute of Steel Construction (AISC) Manual. The goal was to find the lightest shape that would meet the moment and shear requirements of the girders without exceeding the allowable deflection. To do so, Table 3-2 -W Shapes in the AISC Manual was used to find the appropriate shape. The W Shape was chosen by choosing a factored moment greater than the one previously calculated with equation 8, where after calculations the inertia in equation 9 should not exceed the Moment of Inertia provided in the table. Finally, once these values matched the restrictions previously mentioned, the moment and shear had to be checked for beam weight. If these requirements were met, then the W Shape selection is adequate for the design. For girders supporting the roof slab and roof loads, the team decided to keep all the girder shapes constant, since the loads acting on them were all constant distributed loads. The framing plan shown in
  • 41.
    40 Figure 22 showsthat W21x44 are the optimum girders to use in the entire roof area. The detailed numerical breakdown and analysis can be found in Appendix III, Section B, Tables A3-1 and A3-2. Figure 22. Roof Framing Plan For the girder design of the 5th level, the team decided that designing for two different spaces would be adequate. Since the office loading is significantly different than the mechanical loading, as shown in 3.3.3. Load Combinations, the girder sizes would be different. The girders designed for the office space would be placed directly underneath the office loading, finding that the adequate girder shape and size was the same as the girders of the roof, W21x44. The girders designed for the mechanical area would have to be able to withhold a greater load, so the team decided to size up, finding that W21x62 were accurate. Since designing for a maximum case scenario is the smartest solution, the team decided to keep the framing selection for the 5th floor constant and use the selected shape throughout, regardless if the space is office or mechanical. This decision was made just in case the owner decided to change the layout of the building in the future and more mechanical area was desired. The framing plan shown in Figure 23 below shows that the W21x62 girder are going to be used on the 5th level slab. Find the numerical breakdown and analysis in Appendix III, Section B, Tables A3-3 to A3-5.
  • 42.
    41 Figure 23. 5thLevel Framing Plan 3.3.7. Column Design For the column design of the steel structure, the team also followed an LRFD-based analysis, using the AISC Manual again to design for the optimum column shape and size. Since the new steel structure would only consist of two stories, 24 feet in total height, the option considered best was to have the same column span the two stories. This means that, when designing for the columns, they would have to withhold all the loading above the 5th level slab, including the girder loading of both levels, as well the loading due to dead loads, live loads, roof live loads, etc. As for the girder design, the team had to design the columns in order for them to efficiently sustain the dead loads and live loads in the fifth level; therefore, different load combination values were used, as shown in 3.3.3. Load Combinations. After having factored the load values, these were multiplied by the tributary areas in order to have a loading per column. The tributary areas for the interior columns and exterior columns were 607.2 SF and 303.6 SF, respectively. Refer to Appendix III, Section C, Tables A3-6 and A3-7 to see the interior and exterior load breakdown for the roof and fifth level due to the factored loads and girder loads. After calculating the loading per column, the team was able to design for the columns. By using the series of equations provided in the AISC Manual - Specification Section E, the team was able to get the factored design strength of the columns. With these values, the adequate column sizes were defined. Table 11 below shows the column design breakdown for the interior and the exterior columns that will support 5th level slab and the loads acting on it. W12-58 I-beams would suffice to withhold the loads in the exterior of the building, and W12-72 I-beams would suffice to withhold the loads in the interior.
  • 43.
    42 Table 11. Breakdownof the column design for the 5th level 3.3.8. Addition of Elevators One of the main goals when the team overtook the challenge of renovating the AEL building was adding an elevator. The idea would be beneficial to the new building, first of all by allowing for a better circulation, especially because the building is expanding vertically by two stories. The elevator would allow students and faculty to circulate between stories and the building complex fluently. Secondly, by adding the elevator on the East side of the Main Building Complex, the building would now have two accessible entrances, instead of just the on off the quad area. Designing for the elevator was a challenge because the elevator shaft would have to be squeezed in between the existing structure without exerting any additional loads on it. After brainstorming, the simplest solution was to create an 8” concrete masonry unit (CMU) wall around the elevator shaft that would carry the hoist beam loads down through the walls. That way the shaft would act as an independent structure, not loading the existing structural elements. The wall should be reinforced and grouted solid to provide the adequate support. Next, the type of elevator was selected. After the architectural team set a location for the elevator, the structural team concluded that two elevators could be placed within the space. For a five story building, hydraulic elevators would be the most effective. The elevators not only fit with the building’s dimensions and height requirements, but also they affect the foundations the least. They typically do not require excavation, instead there is a coring process to core a deep piston under the elevator pit. All elevators require a pit at the lowest level, typically 4’ deep. If the existing columns where undermined, the foundation would have to be underpinned in order to install the pit. In addition to the elevator pit, a hoist beam should be added at the top, guide rails to
  • 44.
    43 carry horizontal forces,and a machine room at the very top of the elevator shaft. Below, in Figure 24, find a structural model including the CMU wall. Figure 24. Model showing all three structural components 3.3.10. Total Axial Loading In order to get the total axial loads exerted on the foundations, the team calculated the loading per column by using the tributary area method. Figure 25 below models what the tributary area looks like for a single column, from the roof slab all the way to the foundations. In order to do so, all the roof loads, as well as dead loads and live loads for every floor where included, as well as the weight of the girders and slab for both the steel and the concrete structure. Table 12 below, depicts the axial loading per column exerted on each individual foundation. As predicted, the maximum loading for an exterior column is 778 kips for column D2, and the maximum loading for an interior column is 1499 kips for column C2. The columns mentioned are next to each other meaning that their tributary areas are the ones receiving the majority of the load. By looking at the plans, these columns support mostly lab space, where the dead loads are 150 psf.
  • 45.
    44 Figure 25. Specifictributary area per column Table 12. Total Axial Loads on Foundations
  • 46.
    45 3.3.11. Analytical Model Ananalytical model of the building was created using RAM Structural Systems. After designing for the beams, columns, and the elevator shaft and doing hand calculations, the team decided to model a design with the calculated numbers to check for the stability of the structure. To begin with, a model of the three existing levels was created using the existing floor plans provided by the Drexel facilities. The structural grid was replicated from the existing building, keeping concrete as the primary material. Then the two new levels were added above, using steel. Once the basic model was created, the designed girder and column shapes were assigned to the members for an accurate analysis. The CMU elevator shaft was also included, which would carry down the weight exerted by the elevator loading. RAM did not provide the exact slab panels that the team had designed for, but the correct dimension and concrete properties were included, meaning that the variance should be minimal. Regarding loads, RAM treats loads separately as live load, dead loads, and snow loads, instead of complete load combination equations, although when they are added, the program automatically factors them. After running the analysis for the girders and the columns, it was satisfying to know that the hand calculations were accurate and that the structure would be able to sustain the loads. For the girder analysis, the total girder deflections for each girder were below the allowable level. Also, for the column design, a compression analysis was done to the model, showing that all the columns are capable of sustaining the loads. Refer to Appendix III, Section D, Figures A3-2 to A3-5 for detailed images on the girder, column and elevator shaft analysis.
  • 47.
    46 4. Construction Analysis 4.1Construction Schedule As formerly indicated, the estimated time frame for the project is 11 months, and the breakdown is as represented in Figure 26. June 1, 2016 marks the time the construction is scheduled to commence, with the first four weeks involving demolition and preparation. The structural work is then scheduled to begin two months later, after the foundation is verified to be strong enough to sustain the additional two floors. Structural construction, including the addition of the two stories outlined in Appendix IV, is estimated to be six months. The demolition for the existing stories and the exterior replacement (Building Envelope) are to be covered within this time frame. With the structure completed, we will embark on the aesthetics section and perform the final touches for a period of two months. The next two months will then be devoted to installing the interior of the building with the necessary utilities, including lighting and HVAC systems. This should take this long due to the boilers, chillers, and treatment plant installations to be done in the interstitial space. The final five weeks are to involve landscaping and clearing any remaining site work. This should see the construction fully complete, as expected, by May 2017.
  • 48.
  • 49.
    48 4.2. Construction TotalCost With the project design in place and construction work ready to commence, we have proposed a cost schedule that covers material and design costs, as well as, total design, labour and services costs, and fees. Before coming up with estimates for the material, approximations were made for the total cost for each division. These divisions include mechanical, plumbing work, and architectural and structural work as the other two divisions. Figure 27 below gives each division an approximate total cost. Figure 27. Construction Total Cost 4.3. Design, Labor, and Fees Total Costs The design and labor costs estimates we came up with were based on the determined 11-month construction time frame by matching the design time against the AEL building renovation. We made an attempt to accurately arrive at the costs by using positions which are to be part of the crews doing the design and the actual construction work. Figure 28 below lists the positions and design costs for our project. Budget for the design and the labor positions was determined using staff numbers per position, total per-staff hours, and the hourly wage rate for the position. With consideration of all these factors, the design budget and labor cost estimation totaled at $1.3 million, as shown in Figure 28. Similarly, the total fees cost is estimated to be $1 million as indicated in Figure 29.
  • 50.
    49 Figure 28. DetailedDesign Team and Labor Cost
  • 51.
    50 Figure 29. FeesTotal Cost The Project’s total cost, together with the necessary structural repairs, is approximated at $4.5 million, which is inclusive of design, labor, material and the fees costs. The estimates are, however, subject to change or affirmation once research has been carried out.
  • 52.
    51 References (2013) "ASCE-7: MinimumDesign Loads for Buildings and Other Structures." (2010) "PCI Design Handbook 7th Edition" (2015) "International Building Code" (2016) "National Construction Estimator: 64th Edition" (2016) "National Home Improvement Estimator: 64th Edition" (2009) “International Mechanical Code” (2010) “ASHRAE Standard 62.1 - Ventilation for Acceptable Indoor Air Quality” Sto Panel Technology Prefabricated Panel Systems (2016, February 6). Retrieved from : http://www.stopanels.com/
  • 53.
    52 Appendix I (Architectural) FigureA1-1. Site Plan Showing Property Location
  • 54.
    53 LUDLOW STREET CHESTNUT STREET FigureA1-2. New First Level Circulation Plan
  • 55.
    54 Figure A1-3. NewSecond Level Circulation Plan
  • 56.
    55 Figure A1-4. NewThird Level Circulation Plan
  • 57.
    56 Figure A1-5. FourthLevel Circulation Plan
  • 58.
    57 Figure A1-6. FifthLevel Circulation Plan
  • 59.
    58 Figure A1-7. ExistingBuilding Facade Figure A1-8. New Building Facade
  • 60.
    59 Appendix II (Mechanical) TableA2-1. Existing to New Floor Area Comparison Existing Calculations: Table A2-2. Existing Heat Loss Through Envelope Table A2-3. Existing Infiltration Calculations Pt.1
  • 61.
    60 Table A2-4. ExistingInfiltration Calculations Pt.1 Table A2-5. Existing Total Cooling Load Calculations
  • 62.
    61 Table A2-6. InternalCooling Load for Existing
  • 63.
    62 Table A2-7. LightingHeat Gain Renovated Calculations: Table A2-8. Renovated Heat Loss Through Envelope
  • 64.
    63 Table A2-9. RenovatedInfiltration Calculations Pt.1 Table A2-10. Renovated Infiltration Calculations Pt.2 Table A2-11. Renovated Total Cooling Load
  • 65.
    64 Table A2-12. RenovatedInternal Cooling Load
  • 66.
    65 Table A2-13. RenovatedLighting Heat Gain
  • 67.
    66 Table A2-14. Supplyand Exhaust Air Flow - Floor 1 Table A2-15. Supply and Exhaust Air Flow - Floor 2
  • 68.
    67 Table A2-16. Supplyand Exhaust Air Flow - Floor 3 Table A2-17. Supply and Exhaust Air Flow - Floor 4
  • 69.
    68 Table A2-19. Supplyand Exhaust Air Flow - Floor 5 Trane Packaged Rooftop Air Conditioner Brochure: http://www.trane.com/content/dam/Trane/Commercial/global/products- systems/equipment/unitary/rooftop-systems/precedent-3-to-10-tons/RT-PRC023AL- EN_03232016.pdf
  • 70.
    69 Appendix III (Structural) A- Structural Model Figure A3-1. Model of structural grid of the existing and new structure for the AEL building. B - Girder Design Table A3-1. Roof girder design.
  • 71.
    70 Table A3-2. Girderdesign to support roof loads. Table A3-3. 5th floor girder loading.
  • 72.
    71 Table A3-4. Girderdesign to support the office space in the 5th floor. Table A3-5. Girder design to support the mechanical space in the 5th floor
  • 73.
    72 C - ColumnDesign Table A3-6. Roof Column Loads per Tributary Area Table A3-7. 5th Level Column Loads per Tributary Area
  • 74.
    73 Section D -Analytical Model Figure A3-2. RAM Structural model of the existing and new structure.
  • 75.
    74 Figure A3-3. Deflectiontest of the girders in the roof.
  • 76.
    75 Figure A3-4. Deflectiontest of the girders in 5th level.
  • 77.
    76 Figure A3-5. Compressiontest of column of the new steel structure with elevator shaft included.
  • 78.
    77 Appendix IV (ConstructionManagement) Figure A4-1. Materials Cost.
  • 79.
    78 Figure A4-2. Designand Labor Cost Schedule.
  • 80.
    79 Figure A4-3. TimeSchedule for Project Construction