CITY OF ALAMO HEIGHTS
COMMUNITY DEVELOPMENT SERVICES DEPARTMENT
CITY COUNCIL AGENDA MEMORANDUM
TO: Mayor and City Council Members
FROM: Lety Hernandez, Director of Community Development Services
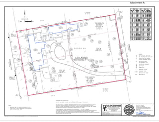
SUBJECT: Case No. 434
Public hearing, consideration, and action regarding a request to replat the property
identified as CB 4024, BLK 20, LOTS S 50FT OF 4, ALL OF 5, AND N 50FT
OF 6, also known as 231 Encino Ave.
DATE: February 12, 2024
SUMMARY
The applicant is seeking to replat the eastern portion of the property in order to establish two (2)
lots. The western side of the property is not part of the replat request.
BACKGROUND INFORMATION
The property is located on the eastern side of Encino Ave between Mary D Ave and Mayflower,
and is zoned Single Family A (SF-A) District. The property fronts both Encino Ave and Chester
St. The lots being replatted are those that front Chester St.
POLICY ANALYSIS
 Sec. 3-12. - Lot area.
The minimum lot area in the SF-A District shall be eight thousand four hundred (8,400)
square feet for lots greater than fifty (50) feet wide, and no lot shall be reduced in area below
this minimum requirement.
 Sec. 3-13. - Lot width.
The minimum lot width for lots in the SF-A District shall be sixty (60) feet and no lot shall
be reduced in width below this minimum.
 Sec. 5-134. – Demolition review procedures
o (c) Proposed demolitions in which the scope of work meets the regulations as defined in
section 5-13 definition for demolition, or when the scope of work involves any structure
or project not specifically exempted below shall meet the permit regulations for
demolition review as listed in this article as well as requirements listed in article IV of
this chapter.
Exceptions from the demolition review process regarding significance of an existing structure
to allow for administrative review:
(1) Existing structures not supported by a permanent foundation,
(2) Existing structures which have an exterior grade footprint of two hundred (200) square feet
or less,
(3) Existing one-and two-story detached accessory structures,
(4) Replacement or alteration of existing exterior finish materials on roofs or walls with new
exterior finish materials which match the existing in color and design,
(5) Replacement or alteration of roof decking and finish materials only,
(6) Exterior alterations that do not substantially alter, modify, cover, or encapsulate existing
framing components, and
(7) Ordinary repair and maintenance as referenced in section 5-13 definition for demolition.
As proposed, the replat does not meet Chapter 3 Zoning requirements due to the existing
accessory structure encroaching onto Lot 4. The owner applied for a permit to demolish the
accessory structure and portions of flatwork, Staff has approved the request and issued the
demolition permit for the detached accessory structure. The demolition would need to be
completed prior to releasing the plat for recordation.
CPS, SAWS, and Public Works have given approval of the proposed replat in their evaluation of
the potential impact on utilities.
The Planning & Zoning Commission considered the request at their February 05, 2024 meeting
and voted to recommend approval with the condition to demolish the accessory structure prior to
releasing the plat for recordation.
FISCAL IMPACT
No projected fiscal impact from this project has been calculated.
ATTACHMENTS
Attachment A – Web Packet
Attachment B – Postcard Responses
__________________________
Lety Hernandez
Director
__________________________
Buddy Kuhn
City Manager
CITY OF ALAMO HEIGHTS
COMMUNITY DEVELOPMENT SERVICES DEPARTMENT
6116 BROADWAY
SAN ANTONIO, TX 78209
210-826-0516
Planning & Zoning Commission Meeting
Monday, February 05, 2024 – 5:30 P.M.
Take notice that a regular Planning & Zoning Commission Meeting of the City of Alamo Heights will be
held on Monday, February 05, 2024 at 5:30pm in the City Council Chamber, located at 6116 Broadway,
San Antonio, Texas, 78209, to consider and act upon any lawful subjects which may come before it.
INSTRUCTIONS FOR TELECONFERENCE: Members of the public may also participate via
audio by dialing 1-346-248-7799 and entering Meeting ID 89047228116. If you would like to speak
on a particular item, when the item is considered, press *9 to “raise your hand”. Citizens will have
three (3) minutes to share their comments. The meeting will be recorded.
The City cannot guarantee participation by phone due to unforeseen technical difficulties or
provide prior notice if they occur; therefore, the City urges your in-person attendance if you
require participation.
Case No. 434 – Public hearing, consideration, and action will take place on Monday, February 05, 2024
at 5:30pm regarding a request to replat the properties identified as CB 4024, BLK 20, LOTs south 50ft
of 4, all of 5, and north 50ft of 6, also known as 231 Encino Ave.
The City Council of the City of Alamo Heights will conduct a public hearing on Monday, February 12,
2024 at 5:30pm relating to the recommendations of the Planning and Zoning Commission regarding the
same issues.
Attachment A
Attachment A
Attachment A
Re: Letter of Certification Recommending Approval
Plat:
To Whom It May Concern:
Please accept this Letter of Certification for approval of the above mentioned plat. CPS Energy
has no objection to the filing of this plat for consideration by the appropriate governmental
entity.
The installation of electric and natural gas (if applicable) facilities is subject to conformance
with all legal regulations and requirements relating to platting, subdividing, governmental
approvals and permits incidental to installing and maintaining the facilities as planned.
Should changes be made to the approved plat noted and dated above, this letter will be
deemed invalid and the updated plat will have to follow the plat review and approval process.
If you should have any questions or concerns regarding this Letter of Certification,
please contact our office at (210) 353-2969.
Sincerely,
Yvonne Long, SR/WA
Right-of—Way Agent 3
Right-of-Way Management
Attachment A
January 25, 2024
Dye Enterprises
D. Scott Dye
4047 Stahl Road #3
San Antonio, TX 78217
Alamo Heights Replat - 231 Encino
SAN ANTONIO WATER SYSTEM
INFRASTRUCTURE PLANNING DEPARTMENT
2800 U.S. Hwy 281 North • P.O. Box 2449 • San Antonio, TX 78298-2449
LETTER OF CERTIFICATION FOR SUBDIVISION PLATS AND PLANS
Approval DATE: 1/25/2024
SUBDIVISION NAME: Replat of Alamo Heights Subdivision
- 231 Encino Ave
Expire Date: 10/25/2024
PLAT NO: AH00043
Dye Enterprises
4047 STAHL RD STE 3
SAN ANTONIO, TX, 78217
C.O.S.A. Major Plat:
SAWS Major Plat:
The required data for the above subdivision, as required by Appendix A of the City of San Antonio Unified Development Codes,
has been received by this department
Deferred Impact Fee Payment: No
SEWER SAWS Job Number(s):
Sewer Impact Fee Required? Lift Station Fee:
Sewer Fee/EDU: Sewer EDUs: 0 Total Sewer Impact Fee:
Total Planned Sewer Improvements - Cost Estimate:
Main Extension Required: No
Sewer service is available through SAWS Counter Service Permit: Yes
Plat is subject to 30TAC 213.5 (b) and 213.5 (c) (Located over EARZ): No
WATER SAWS Job Number(s):
Water Impact Fee Required?
Water Fee/EDU: Water EDUs: Total Water Impact Fee:
Total Planned Water Improvements - Cost Estimate:
Main Extension Required: No
Water service is available through SAWS Counter Service Permit: Yes
Remarks: Water/Sewer Serviced by City of Alamo Heights
Total Improvements: Total Impact Fees:
cc: COSA Development Services
Consultant/Engineer
RELEASE FOR RECORDATION
TO:
Development Engineering Services
Attachment A
No
No
Marisa Wachal
Attachment A
Attachment A
Attachment B
Attachment B
Dear Members of the Planning and Zoning Commission,
Alamo Heights is at a crossroad. Approval of the re-pla ng proposal of the proper es
facing Chester St. in the back yard of 231 Encino will change the nature and character of
our Alamo Heights neighborhood and will set us on a path for many more McMansions.
Two weeks ago, a capacity crowd of Alamo Heights neighbors filled the Architectural
Review Board mee ng to oppose the proposed demoli on of the house at 231 Encino.
The architectural review board voted unanimously in favor of our communi es wishes.
Tonight we are here to debate the re-pla ng of the three lots that make up the en re
back yard of the property. Allowing the Planning and Zoning commi ee to re-plat the
back of this property will effec vely destroy the viability of this historic architectural
jewel and negate the wishes of the community.
The Planning and Zoning commission has every right to keep the pla ng as originally
plo ed. It is in the public interest that they support the wishes of the community. The
community is basically saying that we wish to keep the 231 Encino property intact.
If this proposal is passed, the mansion will be le with no back yard and poten al
gardens, therefore destroying its appeal and lowering its value, likely making it unviable
and causing its eventual demise. The end result will be exactly what the Architectural
Review Board denied.
In the mean me, sitework has already begun. Two massive trees and landscaping are
being hauled off as if everything has been approved.
The decisions made today on re-pla ng the back proper es are being made to destroy
the value of the great historic mansion facing Encino and eliminate the poten al of
beau ful grounds facing Chester St.
Members of the Commi ee: Think long term. Please keep Alamo Heights a unique high
value community. Do not slice and dice one of the magnificent Encino estates into li le
pieces just for the short-term profit of one developer.
Thank you, Jacqueline Bere a Monday, February 5, 2024
Attachment B
Attachment B
Attachment B
Attachment B
Attachment B
1
Lety Hernandez
Subject: Objection to the Replat of the back yard of 231 Encino Avenue
From: Suzanne Mathews < >
Sent: Monday, February 5, 2024 4:13 PM
To: Lety Hernandez <lhernandez@alamoheightstx.gov>
Subject: Objection to the Replat of the back yard of 231 Encino Avenue
Dear Members of the Planning and Zoning Commission,
My husband Gilbert and I are long term residents of 243 Encino Avenue and also own the house
at 223 Chester Street. I am traveling and unable to attend this hearing.
This neighborhood and the home located at 231 Encino Avenue are special not only to the residents nearby ..I have been
told by people living in many areas in and around San Antonio.."this house cannot be demolished."..
"it is such a special part of Old Alamo Heights".. "the city won't let this happen"
We all hope that you won't let this happen. You know that the ARB voted unanimously against the demolition of the house and
now
the developer is asking you to cut up the back garden into lots.... and make this part of Alamo Heights begin to look like the
Dominion...
The San Antonio AIA, The San Antonio Conservation Society, Ted Flato AIA Gold winner and Michael Imber Ross Award
winner...they aren't wrong when they state the significance of this property..,their voices are strong and powerful and should
resonate deeply with you.
Why not look at a creative solution to protect this cherished property. The developer , Lisa Nichols, knows that without the
back property the value of the house diminishes and possibly makes it functionally inaccessible ..the back driveway was the only
drive at that home until Maggie Block put in a front drive to easily access the bedrooms. as she became elderly ..
the common spaces are all downstairs...access to HVAC equipment.,kitchen appliances that need to be replaced
are all done from the original drive..
This developer hasn't even taken a pause to think about the destruction of our neighborhood...because she doesn't care.
Her only interest in 231 Encino Avenue is how much cash she can squeeze out of the property and put into her pocket .
The heritage trees whose roots are near the foundation and any others that are in the way will be bulldozed down without
a thought.
You all sit on this commission and volunteer your time because of your love of Alamo Heights., The City of Beauty
and Charm. What has happened in the past cannot be changed . Turn this into an opportunity for change..to do the right
thing..make the right choice..
.and vote to save an architectural treasure.
Thank you for your consideration.
Suzanne Mathews
Attachment B
Attachment B
1 of 2 - see
written
statement
Attachment B
2 of 2 - see
response
card
1
Lety Hernandez
Subject: Request to Replat of property at 235 encino
From: Fravell Family <>
Sent: Thursday, February 1, 2024 7:57 AM
To: Lety Hernandez <lhernandez@alamoheightstx.gov>
Subject: Request to Replat of property at 235 encino
Please let this email serve as notice that we DO NOT support the request to replay the property next to our home, at 235
Encino.
Thank you.
KATIE AND MIKE FRAVELL
NOTE; Due to an administrative error , we did not receive The postcard regarding this request.
Attachment B
1
Lety Hernandez
Subject: 231 Encino Ave - Proposed Demo
From: Kyle Moe < >
Sent: Monday, February 5, 2024 4:40 PM
To: Lety Hernandez <lhernandez@alamoheightstx.gov>
Subject: 231 Encino Ave - Proposed Demo
To whom it may concern,
Please do not allow the demolition of 231 Encino Avenue for the purpose of building condos. Building condos in this
location will diminish the beauty and charm of our historic neighborhood.
Thank you,
Kyle Moe
Alamo Heights Resident
Attachment B
Attachment B
Attachment B
Attachment B
1
Lety Hernandez
Subject: Letter objecting to the Replatting of 231 Encino
From: Lukin Gilliland, Jr. < >
Sent: Monday, February 5, 2024 3:26 PM
To: Lety Hernandez <lhernandez@alamoheightstx.gov>
Subject: Letter objecting to the Replatting of 231 Encino
Dear Members of the Alamo Heights Planning and Zoning Commission,
I live at 115 Hubbard Street and am also the owner of 119 Hubbard. Both properties
are very close to the rear garden of 231 Encino Avenue which the current owner has
asked to replat. II strongly oppose this effort!
This area is near and dear to me. I grew up close by on 219 Argyle and was very fortunate to be able to purchase
and move into this old family home in 1989. It was built by my Great Grandfather, Charles J. Lukin, as a
dormitory for the Lukin Academy which he founded. When he died and the Lukin Academy closed, it was
renovated into a family home where my Great Grandmother and then my Grandparents lived. My Father
and Uncle grew up here, and I spent countless happy hours here growing up. So my love and appreciation for
this neighborhood has only grown with time.
The property at 231 Encino Avenue, even though it consisted of 5 plats, has for about 100 years
been considered as one piece of property with the drive entering from Chester Street and a walkway
from Encino to the front door, ( when the prior owner had difficulty with stairs she put in a drive in the front
which opened onto the bedroom floor, thus avoiding the stairs from the public area downstairs).
The home has been found to be historically and architecturally significant, and any replat should
certainly not be considered until all the options for saving the house have been thoroughly investigated.
This is a very serious decision with many repercussions that could ruin this very special neighborhood forever.
Thank you for your consideration,
Lukin T. Gilliland, Jr.
Attachment B
NPLAH | 732 Patterson Ave, Alamo Heights, TX 78209 | info@nplah.org
February 5, 2024
Planning and Zoning Commission
Alamo Heights, TX
Via: email
Re: 231 Encino Proposed Replat
Dear Members of the Planning and Zoning Commission,
The Neighborhood Preservation League of Alamo Heights would encourage you to table this case until the
demolition request has been fully vetted through the formal processes. Then you will be better able to
determine the impact of the replat on the original structure and the surrounding neighborhood. Meanwhile
you could begin to take action so that this issue does not become a routine occurrence.
Alamo Heights has a unique character which defines its charm. It is composed of a variety of neighborhoods,
each with their own unique qualities. While there are a variety of styles, lot sizes and designs of homes,
block faces within a particular neighborhood remain consistent. In the case of 231 Encino the entire east
side of the block is made up of large residence on large lots. The proposed replat is completely out of
character with the block and adjoining properties. Our large lots should not be subdivided into the smallest
possible size because it is the easiest way to make the most money.
As caretakers and protectors of the unique character of Alamo Heights we encourage you to be proactive
rather than reactive. If the codes need to be changed – work to change them. If Historic Preservation tools
need to be adopted – work to adopt them. You are advisors to City Council in platting and zoning matters -
propose changes. Do not sit on your hands until it is too late, until every single large lot becomes five lots.
Several of our NPLAH members are experts in City planning and preservation and would be happy to advise
you on best practices and planning tools available.
Sincerely,
Ann McGlone
President
Attachment B
The American Institute of Architects
AIA San Antonio
1344 South Flores Street, Ste. 102
San Antonio, Texas 78204
210-226-4979
www.aiasa.org
February 5, 2024
Planning & Zoning Commission
City of Alamo Heights
6116 Broadway
San Antonio, Texas 78209
RE: 231 Encino Avenue Re-Plat
Dear Planning & Zoning Commission Members,
On behalf of the Board of Directors of AIA San Antonio, the local chapter of The American Institute of
Architects, I again write to urge that you carefully consider requested re-platting of the historically
significant property located at 231 Encino Avenue.
The home at 231 Encino Avenue is located on a nearly 1.4 acre lot property comprised of five (5)
plats. Three of these plats are oriented towards Chester Street. The largest of the plats is flanked by two
smaller plats on either side, both too small to conform to Alamo Heights building standards. The
developer seeks to combine the three plats into two plats of approximately .3 acres each. Clearly this is a
move driven not by necessity but rather by development interests which are not in alignment with the
neighborhood.
Re-platting this important residential property’s rear facing lots not only puts the future of the historically
significant Tudor home at 231 Encino at risk, but it will also forever change the character of the
neighborhood. Homes in this area are located on generous acreage as they have been for the last century.
There is simply no pressing need to densify Chester Street.
Local architects applaud the finding of historic significance by the ARB. We continue to advocate that the
home not be demolished and that the property be left undisturbed.
Sincerely,
Torrey Stanley Carleton Hon. AIA
Executive Director
Attachment B
1
Lety Hernandez
Subject: FW: To AH Planning & Zoning: re: 231 Encino
Importance: High
-----Original Message-----
From: Susan Straus < >
Sent: Sunday, February 4, 2024 3:08 PM
To: Lety Hernandez <lhernandez@alamoheightstx.gov>
Subject: To AH Planning & Zoning: re: 231 Encino
Importance: High
Dear Alamo Heights Planning and Zoning Commission,
I’m strongly opposed to the re-platting of the back of the property at 231 Encino.
Furthermore, I hope this large lot and beautiful home with unique architecture can be saved, to preserve the charm of our old
historic neighborhood.
Thank you,
Susan Straus
232 Argyle
Attachment B
1
Lety Hernandez
Subject: 231 Encino Ave.
-----Original Message-----
From: Erinn Einhauser < >
Sent: Tuesday, January 16, 2024 5:07 PM
To: Elsa T. Robles <erobles@alamoheightstx.gov>; Lety Hernandez <lhernandez@alamoheightstx.gov>
Subject: 231 Encino Ave.
Dear Members of the Architectural Review Board,
I am writing to express my strong opposition to the proposed demolition of the historic house located at 231 Encino Avenue in
San Antonio, Texas. This architectural home holds significant cultural and historical value for our community.
Preserving such structures is crucial in maintaining the unique character and identity of our city.
The demolition of 231 Encino Avenue would not only erase a piece of our heritage but also diminish the cultural richness that
makes our neighborhood Alamo Heights special.
We urge the Architectural Review Board to reconsider this decision and explore alternative options for the property's
development that would allow the historic house to be retained and celebrated.
Our shared history deserves protection, and we believe that with thoughtful consideration, a balance can be struck between
progress and preservation.
Instead of allowing the larger, unique and historic parcels within Alamo Heights to be subdivided, consider an ordinance that
prohibits such parcel divisions to maintain our rich community heritage.
Thank you for your attention to this matter.
Sincerely,
Cyril Swatko & Erinn Einhauser
121 Grant Ave
Alamo Heights, TX 78209
Attachment B

Item # 7 & 8 - 231 Encino Ave. Replat Request

  • 1.
    CITY OF ALAMOHEIGHTS COMMUNITY DEVELOPMENT SERVICES DEPARTMENT CITY COUNCIL AGENDA MEMORANDUM TO: Mayor and City Council Members FROM: Lety Hernandez, Director of Community Development Services SUBJECT: Case No. 434 Public hearing, consideration, and action regarding a request to replat the property identified as CB 4024, BLK 20, LOTS S 50FT OF 4, ALL OF 5, AND N 50FT OF 6, also known as 231 Encino Ave. DATE: February 12, 2024 SUMMARY The applicant is seeking to replat the eastern portion of the property in order to establish two (2) lots. The western side of the property is not part of the replat request. BACKGROUND INFORMATION The property is located on the eastern side of Encino Ave between Mary D Ave and Mayflower, and is zoned Single Family A (SF-A) District. The property fronts both Encino Ave and Chester St. The lots being replatted are those that front Chester St.
  • 2.
    POLICY ANALYSIS  Sec.3-12. - Lot area. The minimum lot area in the SF-A District shall be eight thousand four hundred (8,400) square feet for lots greater than fifty (50) feet wide, and no lot shall be reduced in area below this minimum requirement.  Sec. 3-13. - Lot width. The minimum lot width for lots in the SF-A District shall be sixty (60) feet and no lot shall be reduced in width below this minimum.  Sec. 5-134. – Demolition review procedures o (c) Proposed demolitions in which the scope of work meets the regulations as defined in section 5-13 definition for demolition, or when the scope of work involves any structure or project not specifically exempted below shall meet the permit regulations for demolition review as listed in this article as well as requirements listed in article IV of this chapter. Exceptions from the demolition review process regarding significance of an existing structure to allow for administrative review: (1) Existing structures not supported by a permanent foundation, (2) Existing structures which have an exterior grade footprint of two hundred (200) square feet or less, (3) Existing one-and two-story detached accessory structures, (4) Replacement or alteration of existing exterior finish materials on roofs or walls with new exterior finish materials which match the existing in color and design, (5) Replacement or alteration of roof decking and finish materials only, (6) Exterior alterations that do not substantially alter, modify, cover, or encapsulate existing framing components, and (7) Ordinary repair and maintenance as referenced in section 5-13 definition for demolition. As proposed, the replat does not meet Chapter 3 Zoning requirements due to the existing accessory structure encroaching onto Lot 4. The owner applied for a permit to demolish the accessory structure and portions of flatwork, Staff has approved the request and issued the demolition permit for the detached accessory structure. The demolition would need to be completed prior to releasing the plat for recordation. CPS, SAWS, and Public Works have given approval of the proposed replat in their evaluation of the potential impact on utilities. The Planning & Zoning Commission considered the request at their February 05, 2024 meeting and voted to recommend approval with the condition to demolish the accessory structure prior to releasing the plat for recordation. FISCAL IMPACT No projected fiscal impact from this project has been calculated. ATTACHMENTS Attachment A – Web Packet Attachment B – Postcard Responses
  • 3.
  • 4.
    CITY OF ALAMOHEIGHTS COMMUNITY DEVELOPMENT SERVICES DEPARTMENT 6116 BROADWAY SAN ANTONIO, TX 78209 210-826-0516 Planning & Zoning Commission Meeting Monday, February 05, 2024 – 5:30 P.M. Take notice that a regular Planning & Zoning Commission Meeting of the City of Alamo Heights will be held on Monday, February 05, 2024 at 5:30pm in the City Council Chamber, located at 6116 Broadway, San Antonio, Texas, 78209, to consider and act upon any lawful subjects which may come before it. INSTRUCTIONS FOR TELECONFERENCE: Members of the public may also participate via audio by dialing 1-346-248-7799 and entering Meeting ID 89047228116. If you would like to speak on a particular item, when the item is considered, press *9 to “raise your hand”. Citizens will have three (3) minutes to share their comments. The meeting will be recorded. The City cannot guarantee participation by phone due to unforeseen technical difficulties or provide prior notice if they occur; therefore, the City urges your in-person attendance if you require participation. Case No. 434 – Public hearing, consideration, and action will take place on Monday, February 05, 2024 at 5:30pm regarding a request to replat the properties identified as CB 4024, BLK 20, LOTs south 50ft of 4, all of 5, and north 50ft of 6, also known as 231 Encino Ave. The City Council of the City of Alamo Heights will conduct a public hearing on Monday, February 12, 2024 at 5:30pm relating to the recommendations of the Planning and Zoning Commission regarding the same issues. Attachment A
  • 5.
  • 6.
  • 7.
    Re: Letter ofCertification Recommending Approval Plat: To Whom It May Concern: Please accept this Letter of Certification for approval of the above mentioned plat. CPS Energy has no objection to the filing of this plat for consideration by the appropriate governmental entity. The installation of electric and natural gas (if applicable) facilities is subject to conformance with all legal regulations and requirements relating to platting, subdividing, governmental approvals and permits incidental to installing and maintaining the facilities as planned. Should changes be made to the approved plat noted and dated above, this letter will be deemed invalid and the updated plat will have to follow the plat review and approval process. If you should have any questions or concerns regarding this Letter of Certification, please contact our office at (210) 353-2969. Sincerely, Yvonne Long, SR/WA Right-of—Way Agent 3 Right-of-Way Management Attachment A January 25, 2024 Dye Enterprises D. Scott Dye 4047 Stahl Road #3 San Antonio, TX 78217 Alamo Heights Replat - 231 Encino
  • 8.
    SAN ANTONIO WATERSYSTEM INFRASTRUCTURE PLANNING DEPARTMENT 2800 U.S. Hwy 281 North • P.O. Box 2449 • San Antonio, TX 78298-2449 LETTER OF CERTIFICATION FOR SUBDIVISION PLATS AND PLANS Approval DATE: 1/25/2024 SUBDIVISION NAME: Replat of Alamo Heights Subdivision - 231 Encino Ave Expire Date: 10/25/2024 PLAT NO: AH00043 Dye Enterprises 4047 STAHL RD STE 3 SAN ANTONIO, TX, 78217 C.O.S.A. Major Plat: SAWS Major Plat: The required data for the above subdivision, as required by Appendix A of the City of San Antonio Unified Development Codes, has been received by this department Deferred Impact Fee Payment: No SEWER SAWS Job Number(s): Sewer Impact Fee Required? Lift Station Fee: Sewer Fee/EDU: Sewer EDUs: 0 Total Sewer Impact Fee: Total Planned Sewer Improvements - Cost Estimate: Main Extension Required: No Sewer service is available through SAWS Counter Service Permit: Yes Plat is subject to 30TAC 213.5 (b) and 213.5 (c) (Located over EARZ): No WATER SAWS Job Number(s): Water Impact Fee Required? Water Fee/EDU: Water EDUs: Total Water Impact Fee: Total Planned Water Improvements - Cost Estimate: Main Extension Required: No Water service is available through SAWS Counter Service Permit: Yes Remarks: Water/Sewer Serviced by City of Alamo Heights Total Improvements: Total Impact Fees: cc: COSA Development Services Consultant/Engineer RELEASE FOR RECORDATION TO: Development Engineering Services Attachment A No No Marisa Wachal
  • 9.
  • 10.
  • 11.
  • 12.
  • 13.
    Dear Members ofthe Planning and Zoning Commission, Alamo Heights is at a crossroad. Approval of the re-pla ng proposal of the proper es facing Chester St. in the back yard of 231 Encino will change the nature and character of our Alamo Heights neighborhood and will set us on a path for many more McMansions. Two weeks ago, a capacity crowd of Alamo Heights neighbors filled the Architectural Review Board mee ng to oppose the proposed demoli on of the house at 231 Encino. The architectural review board voted unanimously in favor of our communi es wishes. Tonight we are here to debate the re-pla ng of the three lots that make up the en re back yard of the property. Allowing the Planning and Zoning commi ee to re-plat the back of this property will effec vely destroy the viability of this historic architectural jewel and negate the wishes of the community. The Planning and Zoning commission has every right to keep the pla ng as originally plo ed. It is in the public interest that they support the wishes of the community. The community is basically saying that we wish to keep the 231 Encino property intact. If this proposal is passed, the mansion will be le with no back yard and poten al gardens, therefore destroying its appeal and lowering its value, likely making it unviable and causing its eventual demise. The end result will be exactly what the Architectural Review Board denied. In the mean me, sitework has already begun. Two massive trees and landscaping are being hauled off as if everything has been approved. The decisions made today on re-pla ng the back proper es are being made to destroy the value of the great historic mansion facing Encino and eliminate the poten al of beau ful grounds facing Chester St. Members of the Commi ee: Think long term. Please keep Alamo Heights a unique high value community. Do not slice and dice one of the magnificent Encino estates into li le pieces just for the short-term profit of one developer. Thank you, Jacqueline Bere a Monday, February 5, 2024
  • 14.
  • 15.
  • 16.
  • 17.
  • 18.
  • 19.
    1 Lety Hernandez Subject: Objectionto the Replat of the back yard of 231 Encino Avenue From: Suzanne Mathews < > Sent: Monday, February 5, 2024 4:13 PM To: Lety Hernandez <lhernandez@alamoheightstx.gov> Subject: Objection to the Replat of the back yard of 231 Encino Avenue Dear Members of the Planning and Zoning Commission, My husband Gilbert and I are long term residents of 243 Encino Avenue and also own the house at 223 Chester Street. I am traveling and unable to attend this hearing. This neighborhood and the home located at 231 Encino Avenue are special not only to the residents nearby ..I have been told by people living in many areas in and around San Antonio.."this house cannot be demolished.".. "it is such a special part of Old Alamo Heights".. "the city won't let this happen" We all hope that you won't let this happen. You know that the ARB voted unanimously against the demolition of the house and now the developer is asking you to cut up the back garden into lots.... and make this part of Alamo Heights begin to look like the Dominion... The San Antonio AIA, The San Antonio Conservation Society, Ted Flato AIA Gold winner and Michael Imber Ross Award winner...they aren't wrong when they state the significance of this property..,their voices are strong and powerful and should resonate deeply with you. Why not look at a creative solution to protect this cherished property. The developer , Lisa Nichols, knows that without the back property the value of the house diminishes and possibly makes it functionally inaccessible ..the back driveway was the only drive at that home until Maggie Block put in a front drive to easily access the bedrooms. as she became elderly .. the common spaces are all downstairs...access to HVAC equipment.,kitchen appliances that need to be replaced are all done from the original drive.. This developer hasn't even taken a pause to think about the destruction of our neighborhood...because she doesn't care. Her only interest in 231 Encino Avenue is how much cash she can squeeze out of the property and put into her pocket . The heritage trees whose roots are near the foundation and any others that are in the way will be bulldozed down without a thought. You all sit on this commission and volunteer your time because of your love of Alamo Heights., The City of Beauty and Charm. What has happened in the past cannot be changed . Turn this into an opportunity for change..to do the right thing..make the right choice.. .and vote to save an architectural treasure. Thank you for your consideration. Suzanne Mathews Attachment B
  • 20.
    Attachment B 1 of2 - see written statement
  • 21.
    Attachment B 2 of2 - see response card
  • 22.
    1 Lety Hernandez Subject: Requestto Replat of property at 235 encino From: Fravell Family <> Sent: Thursday, February 1, 2024 7:57 AM To: Lety Hernandez <lhernandez@alamoheightstx.gov> Subject: Request to Replat of property at 235 encino Please let this email serve as notice that we DO NOT support the request to replay the property next to our home, at 235 Encino. Thank you. KATIE AND MIKE FRAVELL NOTE; Due to an administrative error , we did not receive The postcard regarding this request. Attachment B
  • 23.
    1 Lety Hernandez Subject: 231Encino Ave - Proposed Demo From: Kyle Moe < > Sent: Monday, February 5, 2024 4:40 PM To: Lety Hernandez <lhernandez@alamoheightstx.gov> Subject: 231 Encino Ave - Proposed Demo To whom it may concern, Please do not allow the demolition of 231 Encino Avenue for the purpose of building condos. Building condos in this location will diminish the beauty and charm of our historic neighborhood. Thank you, Kyle Moe Alamo Heights Resident Attachment B
  • 24.
  • 25.
  • 26.
  • 27.
    1 Lety Hernandez Subject: Letterobjecting to the Replatting of 231 Encino From: Lukin Gilliland, Jr. < > Sent: Monday, February 5, 2024 3:26 PM To: Lety Hernandez <lhernandez@alamoheightstx.gov> Subject: Letter objecting to the Replatting of 231 Encino Dear Members of the Alamo Heights Planning and Zoning Commission, I live at 115 Hubbard Street and am also the owner of 119 Hubbard. Both properties are very close to the rear garden of 231 Encino Avenue which the current owner has asked to replat. II strongly oppose this effort! This area is near and dear to me. I grew up close by on 219 Argyle and was very fortunate to be able to purchase and move into this old family home in 1989. It was built by my Great Grandfather, Charles J. Lukin, as a dormitory for the Lukin Academy which he founded. When he died and the Lukin Academy closed, it was renovated into a family home where my Great Grandmother and then my Grandparents lived. My Father and Uncle grew up here, and I spent countless happy hours here growing up. So my love and appreciation for this neighborhood has only grown with time. The property at 231 Encino Avenue, even though it consisted of 5 plats, has for about 100 years been considered as one piece of property with the drive entering from Chester Street and a walkway from Encino to the front door, ( when the prior owner had difficulty with stairs she put in a drive in the front which opened onto the bedroom floor, thus avoiding the stairs from the public area downstairs). The home has been found to be historically and architecturally significant, and any replat should certainly not be considered until all the options for saving the house have been thoroughly investigated. This is a very serious decision with many repercussions that could ruin this very special neighborhood forever. Thank you for your consideration, Lukin T. Gilliland, Jr. Attachment B
  • 28.
    NPLAH | 732Patterson Ave, Alamo Heights, TX 78209 | info@nplah.org February 5, 2024 Planning and Zoning Commission Alamo Heights, TX Via: email Re: 231 Encino Proposed Replat Dear Members of the Planning and Zoning Commission, The Neighborhood Preservation League of Alamo Heights would encourage you to table this case until the demolition request has been fully vetted through the formal processes. Then you will be better able to determine the impact of the replat on the original structure and the surrounding neighborhood. Meanwhile you could begin to take action so that this issue does not become a routine occurrence. Alamo Heights has a unique character which defines its charm. It is composed of a variety of neighborhoods, each with their own unique qualities. While there are a variety of styles, lot sizes and designs of homes, block faces within a particular neighborhood remain consistent. In the case of 231 Encino the entire east side of the block is made up of large residence on large lots. The proposed replat is completely out of character with the block and adjoining properties. Our large lots should not be subdivided into the smallest possible size because it is the easiest way to make the most money. As caretakers and protectors of the unique character of Alamo Heights we encourage you to be proactive rather than reactive. If the codes need to be changed – work to change them. If Historic Preservation tools need to be adopted – work to adopt them. You are advisors to City Council in platting and zoning matters - propose changes. Do not sit on your hands until it is too late, until every single large lot becomes five lots. Several of our NPLAH members are experts in City planning and preservation and would be happy to advise you on best practices and planning tools available. Sincerely, Ann McGlone President Attachment B
  • 29.
    The American Instituteof Architects AIA San Antonio 1344 South Flores Street, Ste. 102 San Antonio, Texas 78204 210-226-4979 www.aiasa.org February 5, 2024 Planning & Zoning Commission City of Alamo Heights 6116 Broadway San Antonio, Texas 78209 RE: 231 Encino Avenue Re-Plat Dear Planning & Zoning Commission Members, On behalf of the Board of Directors of AIA San Antonio, the local chapter of The American Institute of Architects, I again write to urge that you carefully consider requested re-platting of the historically significant property located at 231 Encino Avenue. The home at 231 Encino Avenue is located on a nearly 1.4 acre lot property comprised of five (5) plats. Three of these plats are oriented towards Chester Street. The largest of the plats is flanked by two smaller plats on either side, both too small to conform to Alamo Heights building standards. The developer seeks to combine the three plats into two plats of approximately .3 acres each. Clearly this is a move driven not by necessity but rather by development interests which are not in alignment with the neighborhood. Re-platting this important residential property’s rear facing lots not only puts the future of the historically significant Tudor home at 231 Encino at risk, but it will also forever change the character of the neighborhood. Homes in this area are located on generous acreage as they have been for the last century. There is simply no pressing need to densify Chester Street. Local architects applaud the finding of historic significance by the ARB. We continue to advocate that the home not be demolished and that the property be left undisturbed. Sincerely, Torrey Stanley Carleton Hon. AIA Executive Director Attachment B
  • 30.
    1 Lety Hernandez Subject: FW:To AH Planning & Zoning: re: 231 Encino Importance: High -----Original Message----- From: Susan Straus < > Sent: Sunday, February 4, 2024 3:08 PM To: Lety Hernandez <lhernandez@alamoheightstx.gov> Subject: To AH Planning & Zoning: re: 231 Encino Importance: High Dear Alamo Heights Planning and Zoning Commission, I’m strongly opposed to the re-platting of the back of the property at 231 Encino. Furthermore, I hope this large lot and beautiful home with unique architecture can be saved, to preserve the charm of our old historic neighborhood. Thank you, Susan Straus 232 Argyle Attachment B
  • 31.
    1 Lety Hernandez Subject: 231Encino Ave. -----Original Message----- From: Erinn Einhauser < > Sent: Tuesday, January 16, 2024 5:07 PM To: Elsa T. Robles <erobles@alamoheightstx.gov>; Lety Hernandez <lhernandez@alamoheightstx.gov> Subject: 231 Encino Ave. Dear Members of the Architectural Review Board, I am writing to express my strong opposition to the proposed demolition of the historic house located at 231 Encino Avenue in San Antonio, Texas. This architectural home holds significant cultural and historical value for our community. Preserving such structures is crucial in maintaining the unique character and identity of our city. The demolition of 231 Encino Avenue would not only erase a piece of our heritage but also diminish the cultural richness that makes our neighborhood Alamo Heights special. We urge the Architectural Review Board to reconsider this decision and explore alternative options for the property's development that would allow the historic house to be retained and celebrated. Our shared history deserves protection, and we believe that with thoughtful consideration, a balance can be struck between progress and preservation. Instead of allowing the larger, unique and historic parcels within Alamo Heights to be subdivided, consider an ordinance that prohibits such parcel divisions to maintain our rich community heritage. Thank you for your attention to this matter. Sincerely, Cyril Swatko & Erinn Einhauser 121 Grant Ave Alamo Heights, TX 78209 Attachment B