Hurricane Katrina Coverage By Brittany, Lauren, Lindsay, Meredith & Spencer
Warning Signs
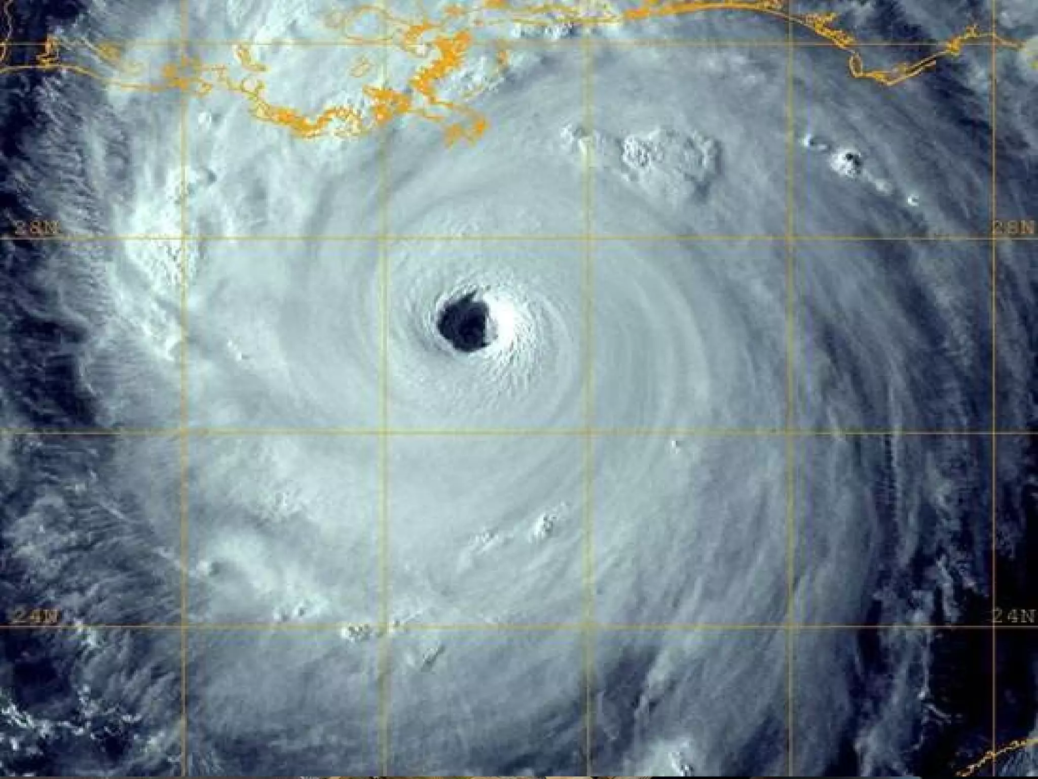
Was Katrina Predictable? Many people believe that Katrina was an unforeseeable storm whose consequences were equally unforeseeable.
A Sinking City “The main problem with southern Louisiana is that it is dangerously low, and getting lower. The levees that imprisoned the Mississippi River into its shipping channel and helped make New Orleans one of the world's busiest ports have also prevented the muddy river from spreading sediment around its delta.” Washington Post- September 14, 2004 “New Orleans, like the rest of the Louisiana coast, is sinking. On average, New Orleans is six feet below sea level. What has protected New Orleans from hurricane destruction in the past has been the wetland grasses.” Washington Post- May 4, 2003
Receding Wetlands Flood plains serve a crucial purpose, and when a river as prodigious as the Mississippi is denied a place to send its excesses, the land itself, and the people who depend on it, suffer in the long run.  New York Times- May 4, 2001 Hurricanes don't destroy much property or kill many people because of the winds. . . . The way hurricanes kill people and destroy property is the surge tide blown on shore by the hurricane. In the past, the endless, vast sheets of marsh grass have absorbed the energy and dispersed the water of hurricane surge tides. Now you have less than half of the march buffer you had between New Orleans and the Gulf of Mexico that you had 30 or 40 years ago.  Washington Post- May 4, 2003
Engineering of Levees “Now engineers say [the levees] are not enough to protect New Orleans, much of it below sea level, from a devastating flood that could threaten it if a storm surge from a powerful hurricane out of the Gulf of Mexico propelled a wall of water into the lake and the city.” “This port city's levees are  designed to withstand only a Category 3 storm, and officials begged residents to evacuate the area” New York Times- April 30, 2002
Evacuation Routes ‘Richard Pasch, a hurricane specialist with the National Hurricane Center in Florida, said: "It's a major evacuation problem. Most of the city lies at sea level or below, surrounded by water and protected by a levee system that would be topped by a storm surge pushed by a strong hurricane blowing in from the southeast toward the northwest.”’ “There are relatively few practical escape routes for the metropolitan-area population of 1.4 million, and even those would likely be flooded by the rain that usually precedes a hurricane.” New York Times- May 13, 1995
Funding “ New Orleans is the only city in which  the relief agency refuses to set up emergency storm shelters, to ensure the safety of its own staff.” “ The Bush administration forced the state to scale down its request to $1.2 billion last year, and a Senate committee authorized $375 million.” Washington Post- September 14, 2002 “ But obtaining the money on the scale needed is far tougher than devising plans, especially if some skeptics dismiss the worst-case predictions as scare tactics to help finance university research or for further environmental intrusions on the coast” New York Times- April, 2002
Warnings by Scientists and Officials "We're running out of tomorrows," Davis said. "God willing, if there's still a southern Louisiana next week, I'm not talking about the politics of the possible anymore. It's now a question of which side are you on: Do you support the obliteration of a region, or do you want to try to save it?” Mark Davis, executive director of the Coalition to Restore Coastal Louisiana Washington Post- September 14, 2002  “ Meteorologists say that New Orleans is perhaps the most vulnerable city in the nation when it comes to hurricanes.” New York times- May 13, 1995 “ Experts like van Heerden consider New Orleans a catastrophe waiting to happen. A combination of human and natural factors make the location uniquely vulnerable to devastation from a tropical storm” Toronto Star- September 16, 2004
Luck? Professor Koenig said that many people here shrug off hurricanes because of the city's "Mediterranean, Latin, Catholic tradition.” “The Protestant tradition is, you're supposed to do something about your fate," he said. "Here, we gamble.” New York Times- May 13, 1995 Many residents give little thought to such matters, counting on the knowledge that New Orleans has escaped hurricane disaster in the past. New York Time- April 30, 2002 “the fates spared the city” Toronto Star- September 16, 2004
Predictable? Yes We now know that Katrina’s devastation  was  predictable and news media have, in fact, been predicting it for years!
Frames Definition: Mechanism used by media to construct social reality in order to help people “locate, perceive, identify, and label” situations/events.
Popular frames were… Description of Natural Disaster Hurricane preparation Transportation/ Evacuation Damage (estimated/actual) Crime & Violence (Police, Thievery) Personal testimonials Government (Local/State) Emotive (Family and Children) Relief Efforts  Media Frames in Local Coverage during Storm
The Times Picayune Local New Orleans newspaper Reported via online offshoot: Nola.com during the storm up until evacuation on August 30 Re-stationed at LSU to continue reporting few staffers/photographers remained to capture footage despite threats
Online offshoot of Times Picayune Played significant role in reporting during Katrina  Format: Blog Transformed though into the actual paper  when storm hit for could not distribute or produce Constantly producing up to date information Staff members bunked up in shelter to report up to date news Provided Safety information/precautions Available shelters Evacuation details  Flooding  Storm’s status and effects
How NOLA.com was effective/ineffective? Effective: Reporters/photographers stationed on site Continuous flow of news yet engaged community Provided national audience with “breaking information” Held other media organizations accountable for misreporting on issues I.e. rape in Superdome “ covered nooks and crannies of New Orleans that an Associated Press or major network person would NEVER have known or gotten right” Clarified that New Orleans had not “dodged a bullet” and city in despair Help guided rescuers and save lives while providing in depth news to evacuees "I listed a friend's mother, who needed rescuing, on the site and between me and the numerous caring people who responded -- she and her daughter where picked up by the National Guard. Bless everyone that had a hand in keeping that site up and running! ” Ineffective: No evacuation roots
Headlines Sunday, August 28, 2005: “K a trina Takes Aim” Monday, August 29, 2005: “ Gr ound Zero” Tuesday, August 30, 2005:  “Ca tastrophic”   (Printout)  Wednesday, August 31, 2005: “U n der Water”   (Printout)  Thursday, September 1, 2005: “H i tting Bottom ” (Printout)                            Friday, September 2, 2005:  “H elp Us, Please ”                            Saturday, September 3, 2005: “F i rst Water, Now Fire”
“ Voice of New Orleans” during crisis In the moment/real  David Cohen- host served as lifeline/liason to citizens who called in for support Stayed live on air during entire Hurricane Refused to carry the Bush’s press availability on air  Mayor Ray Nagin issued “State of emergency” & need of government aid/support http://www.youtube.com/watch?v=1WeboEOVgVY http://www.youtube.com/watch?v=A5AiGhqIFHY&playnext_from=QL&feature=bf_play&playnext=1
WDSU Channel 6 Local NBC affiliate t.v. station  Emphasized importance to evacuate & what need if try to “ride out storm”/aftermath Listed precautionary measures Covered police reports and hurricane speed, winds, etc.. http://www.youtube.com/watch?v=Mk64s3xT8W8&NR=1 - State of urgency http://www. youtube .com/watch? v=A5AiGhqIFHY &playnext_from=QL&feature=bf_play&playnext=1-  Mayor
How WDSU was effective/ineffective? Effective Wall to wall coverage of what was ahead Predicted Mayor’s call for evacuation Used sister station in Jackson to continue reporting while trying to re-establish reporters in new location Provided ways to evacuate Reported what areas( specifically Jefferson Parish) would be harmed the most & parish by parish information Covered footage of vandalism, water rising Ineffective:  No reporting during when actual storm hit
National News Coverage During the Crisis
Ineffective Reporting: Print Media August 25 th  2005 Initial reporting from New York Times, “A Blast of Rain but Little Damage as Hurricane Hits South Florida” Focus is on individual people and their personal feelings, mention danger for the future but no further evaluations or explanation “''I feel pretty comfortable that this is a minor event,'' said Mark Golden as he bought flashlights and water at a Home Depot in Boca Raton”
Ineffective Reporting: Print Media August 29 th  2005 USA Today, “Hurricane Katrina- 160 mph ‘monster’” Lack of detail in information provided Mention that storm hits and damages “major highways”, not a thorough analysis of the devastation Lack of specificity Seems to be more of an update than an analysis of the current state of the areas hit No mention of aid or relief efforts During this time other news organizations included links/donation lines for readers to help
Ineffective Reporting: Television CNN weather report: August 29 th  2005 Reporter Chad Meyers gets frustrated with News Anchor Carol Costello Shows disorganization of reporting Anchor trying to provide explanation to the viewers while weatherman simply scrounging for information to relay to the public Lack of control and misuse of facts spikes publics nerves rather than giving them information to come up with a through response http://www.youtube.com/watch?v=nFAsyYnTkIw
Effective Reporting: Print Media August 29 th , 2005  Canada’s National Post, “Katrina, the Perfect Hurricane to Hit Louisiana” Perfect example of national news coverage of an event Description of hurricane’s path and destruction Information about impact on economy within the United States and in Louisiana specifically Balance between opinion quotes from victims and officials
Effective Reporting: Television NBC Nightly News Program with Brian Williams, August 28 th  2005 Report from day after New Orleans was initially hit Focus is on victims, submerges himself in the crisis and shows the world what people of New Orleans are going through Updates on various areas of the city Reveals lack of resources, safety and aid http://www.msnbc.msn.com/id/21134540/vp/20483113#9134577
Effective Reporting: Television News Fox Evening News, August 28 th  2005 During the hour long episode, Katrina was mentioned over 5 times with around 6 to 10 minutes per story  Detailed analysis of the storm and the evacuation process Including where emergency shelters are located and where to go to get out of the city FEMA’s preparations for the storm examined Live interview with Red Cross director Mention of President’s efforts (regarding warnings) and whereabouts Specific updates of areas of New Orleans, Mississippi and Florida that were hit Includes information for both New Orleans residents and nation-wide viewers Impact on US energy supply provided as well as reports of traffic delays along major interstates in Louisiana Animated weather maps and live video feed of damaged area
Effective Reporting: Television CNN Nightly News, August 29 th  2005 Focus on damage in different parishes (includes pictures and maps to show impact on city) Detailed analysis of damage and relief efforts through interview with Lieutenant Kevin Cowin from Louisiana office of Emergency and Preparedness and reporters Highlight good and bad aspects of government aid Emotional impact evident  Facts running across the bottom on the screen throughout report 24-hour news coverage on crisis from 27 th  and on http://www.youtube.com/watch?v=xpsdPm4JsU4&feature=related
Effective Post Katrina Times-Picayune September 2005 Stories about evacuations and evacuees Levee Updates FEMA food distributors Energy source updates Resources available for victims Jobs, food stamps available for hurricane victims
Effective Post Katrina New Orleans City Business September 2005 Reports on which businesses and schools are reopening Stories about rescues and hospital statuses Articles on communication: Verizon Wireless communications returning to normal in many areas of New Orleans
Ineffective Coverage essentially ends in November Mostly FEMA reports and Saints coverage Human interest pieces: N.O. couple finds their way to N.Y.C. 6:30 p.m Post 2005: Stories only about reminiscing Katrina
WDSU Channel 6 Headlines Sandra Bullock Honored By New Orleans School  '90210' Actress Visits New Orleans Danny Glover Reveals The Katrina Tragedy In 'Trouble The Water' Celebrities--Effective?
5 Years Later September 2010 (Fox 8 Live!): Lacombe woman sentenced in Katrina fraud case Feds have charged 1,360 with hurricane fraud Ex-cop sentenced in Katrina bridge shootings No stories about progress or reconstruction
The Days After – National Ineffective/Effective Coverage CBS, NBC, ABC -  reviewed coverage –images of people being carried out of Convention Center and being rescued; people stuck on highway ;heavy imagery, lots of emphasis on the human devastation News stories on problem of collecting dead bodies More imagery than news coverage NBC –  images and issue of poverty and race, personal human feature stories – lots of children; gasoline –gas stations that ran out of gas and people left stranded Dwelling only on what happened, but not what’s being done FOX –  state of emergency – slow response; support places to donate blood, people opening up homes, etc. Saying what they need, but not discussing the problems CNN – really good job, covered it all Initial Coverage –  The Weather Channel
One Month After Still more than one story on Katrina per nightly newscast – however they are more specific industry focused Rebuilding, but the few effects that aren’t always thought of such as high school students and sports teams that were displaced
Newscasts Hurricane Katrina / New Orleans / Music		Evening News	NBC	05:56:10 pm	02:30		 Hurricanes Katrina, Rita / Recovery / New Orleans		Evening News	FOX	06:07:10 pm	02:50	 Hurricane Katrina / The Aftermath / New Orleans		Evening News	CNN	09:07:40 pm	02:30	 Hurricane Katrina / New Orleans / Housing		Evening News	ABC	00:03:30 am	02:40	 Hurricane Katrina / New Orleans / The Return		Evening News	CBS	05:04:10 pm	02:40	 Hurricane Katrina, Rita / Building Costs		Evening News	CBS	05:06:50 pm	02:00	 Hurricane Katrina / Evacuees / "Katrina"		Evening News	CBS	05:26:00 pm	02:10	 Hurricanes Katrina, Rita / Recovery		Evening News	FOX	06:06:10 pm	03:20	 Hurricane Katrina / The Aftermath / New Orleans		Evening News	CNN	09:19:20 pm	01:00
Today – 5 years later Special Segments are aired talking about the rebuilding that’s been done, the areas that are still impoverished Talk about parades held, memorials…more noticed passing of events not really a hard news story anymore - CNN Special- Hurricane Katrina Talks about how they covered Katrina – look back on what happened

Hurricane katrina evaluation

  • 1.
    Hurricane Katrina CoverageBy Brittany, Lauren, Lindsay, Meredith & Spencer
  • 2.
  • 3.
    Was Katrina Predictable?Many people believe that Katrina was an unforeseeable storm whose consequences were equally unforeseeable.
  • 4.
    A Sinking City“The main problem with southern Louisiana is that it is dangerously low, and getting lower. The levees that imprisoned the Mississippi River into its shipping channel and helped make New Orleans one of the world's busiest ports have also prevented the muddy river from spreading sediment around its delta.” Washington Post- September 14, 2004 “New Orleans, like the rest of the Louisiana coast, is sinking. On average, New Orleans is six feet below sea level. What has protected New Orleans from hurricane destruction in the past has been the wetland grasses.” Washington Post- May 4, 2003
  • 5.
    Receding Wetlands Floodplains serve a crucial purpose, and when a river as prodigious as the Mississippi is denied a place to send its excesses, the land itself, and the people who depend on it, suffer in the long run. New York Times- May 4, 2001 Hurricanes don't destroy much property or kill many people because of the winds. . . . The way hurricanes kill people and destroy property is the surge tide blown on shore by the hurricane. In the past, the endless, vast sheets of marsh grass have absorbed the energy and dispersed the water of hurricane surge tides. Now you have less than half of the march buffer you had between New Orleans and the Gulf of Mexico that you had 30 or 40 years ago. Washington Post- May 4, 2003
  • 6.
    Engineering of Levees“Now engineers say [the levees] are not enough to protect New Orleans, much of it below sea level, from a devastating flood that could threaten it if a storm surge from a powerful hurricane out of the Gulf of Mexico propelled a wall of water into the lake and the city.” “This port city's levees are designed to withstand only a Category 3 storm, and officials begged residents to evacuate the area” New York Times- April 30, 2002
  • 7.
    Evacuation Routes ‘RichardPasch, a hurricane specialist with the National Hurricane Center in Florida, said: "It's a major evacuation problem. Most of the city lies at sea level or below, surrounded by water and protected by a levee system that would be topped by a storm surge pushed by a strong hurricane blowing in from the southeast toward the northwest.”’ “There are relatively few practical escape routes for the metropolitan-area population of 1.4 million, and even those would likely be flooded by the rain that usually precedes a hurricane.” New York Times- May 13, 1995
  • 8.
    Funding “ NewOrleans is the only city in which the relief agency refuses to set up emergency storm shelters, to ensure the safety of its own staff.” “ The Bush administration forced the state to scale down its request to $1.2 billion last year, and a Senate committee authorized $375 million.” Washington Post- September 14, 2002 “ But obtaining the money on the scale needed is far tougher than devising plans, especially if some skeptics dismiss the worst-case predictions as scare tactics to help finance university research or for further environmental intrusions on the coast” New York Times- April, 2002
  • 9.
    Warnings by Scientistsand Officials "We're running out of tomorrows," Davis said. "God willing, if there's still a southern Louisiana next week, I'm not talking about the politics of the possible anymore. It's now a question of which side are you on: Do you support the obliteration of a region, or do you want to try to save it?” Mark Davis, executive director of the Coalition to Restore Coastal Louisiana Washington Post- September 14, 2002 “ Meteorologists say that New Orleans is perhaps the most vulnerable city in the nation when it comes to hurricanes.” New York times- May 13, 1995 “ Experts like van Heerden consider New Orleans a catastrophe waiting to happen. A combination of human and natural factors make the location uniquely vulnerable to devastation from a tropical storm” Toronto Star- September 16, 2004
  • 10.
    Luck? Professor Koenigsaid that many people here shrug off hurricanes because of the city's "Mediterranean, Latin, Catholic tradition.” “The Protestant tradition is, you're supposed to do something about your fate," he said. "Here, we gamble.” New York Times- May 13, 1995 Many residents give little thought to such matters, counting on the knowledge that New Orleans has escaped hurricane disaster in the past. New York Time- April 30, 2002 “the fates spared the city” Toronto Star- September 16, 2004
  • 11.
    Predictable? Yes Wenow know that Katrina’s devastation was predictable and news media have, in fact, been predicting it for years!
  • 12.
    Frames Definition: Mechanismused by media to construct social reality in order to help people “locate, perceive, identify, and label” situations/events.
  • 13.
    Popular frames were…Description of Natural Disaster Hurricane preparation Transportation/ Evacuation Damage (estimated/actual) Crime & Violence (Police, Thievery) Personal testimonials Government (Local/State) Emotive (Family and Children) Relief Efforts Media Frames in Local Coverage during Storm
  • 14.
    The Times PicayuneLocal New Orleans newspaper Reported via online offshoot: Nola.com during the storm up until evacuation on August 30 Re-stationed at LSU to continue reporting few staffers/photographers remained to capture footage despite threats
  • 15.
    Online offshoot ofTimes Picayune Played significant role in reporting during Katrina Format: Blog Transformed though into the actual paper when storm hit for could not distribute or produce Constantly producing up to date information Staff members bunked up in shelter to report up to date news Provided Safety information/precautions Available shelters Evacuation details Flooding Storm’s status and effects
  • 16.
    How NOLA.com waseffective/ineffective? Effective: Reporters/photographers stationed on site Continuous flow of news yet engaged community Provided national audience with “breaking information” Held other media organizations accountable for misreporting on issues I.e. rape in Superdome “ covered nooks and crannies of New Orleans that an Associated Press or major network person would NEVER have known or gotten right” Clarified that New Orleans had not “dodged a bullet” and city in despair Help guided rescuers and save lives while providing in depth news to evacuees "I listed a friend's mother, who needed rescuing, on the site and between me and the numerous caring people who responded -- she and her daughter where picked up by the National Guard. Bless everyone that had a hand in keeping that site up and running! ” Ineffective: No evacuation roots
  • 17.
    Headlines Sunday, August28, 2005: “K a trina Takes Aim” Monday, August 29, 2005: “ Gr ound Zero” Tuesday, August 30, 2005: “Ca tastrophic” (Printout)  Wednesday, August 31, 2005: “U n der Water” (Printout) Thursday, September 1, 2005: “H i tting Bottom ” (Printout)                            Friday, September 2, 2005: “H elp Us, Please ”                           Saturday, September 3, 2005: “F i rst Water, Now Fire”
  • 18.
    “ Voice ofNew Orleans” during crisis In the moment/real David Cohen- host served as lifeline/liason to citizens who called in for support Stayed live on air during entire Hurricane Refused to carry the Bush’s press availability on air Mayor Ray Nagin issued “State of emergency” & need of government aid/support http://www.youtube.com/watch?v=1WeboEOVgVY http://www.youtube.com/watch?v=A5AiGhqIFHY&playnext_from=QL&feature=bf_play&playnext=1
  • 19.
    WDSU Channel 6Local NBC affiliate t.v. station Emphasized importance to evacuate & what need if try to “ride out storm”/aftermath Listed precautionary measures Covered police reports and hurricane speed, winds, etc.. http://www.youtube.com/watch?v=Mk64s3xT8W8&NR=1 - State of urgency http://www. youtube .com/watch? v=A5AiGhqIFHY &playnext_from=QL&feature=bf_play&playnext=1- Mayor
  • 20.
    How WDSU waseffective/ineffective? Effective Wall to wall coverage of what was ahead Predicted Mayor’s call for evacuation Used sister station in Jackson to continue reporting while trying to re-establish reporters in new location Provided ways to evacuate Reported what areas( specifically Jefferson Parish) would be harmed the most & parish by parish information Covered footage of vandalism, water rising Ineffective: No reporting during when actual storm hit
  • 21.
    National News CoverageDuring the Crisis
  • 22.
    Ineffective Reporting: PrintMedia August 25 th 2005 Initial reporting from New York Times, “A Blast of Rain but Little Damage as Hurricane Hits South Florida” Focus is on individual people and their personal feelings, mention danger for the future but no further evaluations or explanation “''I feel pretty comfortable that this is a minor event,'' said Mark Golden as he bought flashlights and water at a Home Depot in Boca Raton”
  • 23.
    Ineffective Reporting: PrintMedia August 29 th 2005 USA Today, “Hurricane Katrina- 160 mph ‘monster’” Lack of detail in information provided Mention that storm hits and damages “major highways”, not a thorough analysis of the devastation Lack of specificity Seems to be more of an update than an analysis of the current state of the areas hit No mention of aid or relief efforts During this time other news organizations included links/donation lines for readers to help
  • 24.
    Ineffective Reporting: TelevisionCNN weather report: August 29 th 2005 Reporter Chad Meyers gets frustrated with News Anchor Carol Costello Shows disorganization of reporting Anchor trying to provide explanation to the viewers while weatherman simply scrounging for information to relay to the public Lack of control and misuse of facts spikes publics nerves rather than giving them information to come up with a through response http://www.youtube.com/watch?v=nFAsyYnTkIw
  • 25.
    Effective Reporting: PrintMedia August 29 th , 2005 Canada’s National Post, “Katrina, the Perfect Hurricane to Hit Louisiana” Perfect example of national news coverage of an event Description of hurricane’s path and destruction Information about impact on economy within the United States and in Louisiana specifically Balance between opinion quotes from victims and officials
  • 26.
    Effective Reporting: TelevisionNBC Nightly News Program with Brian Williams, August 28 th 2005 Report from day after New Orleans was initially hit Focus is on victims, submerges himself in the crisis and shows the world what people of New Orleans are going through Updates on various areas of the city Reveals lack of resources, safety and aid http://www.msnbc.msn.com/id/21134540/vp/20483113#9134577
  • 27.
    Effective Reporting: TelevisionNews Fox Evening News, August 28 th 2005 During the hour long episode, Katrina was mentioned over 5 times with around 6 to 10 minutes per story Detailed analysis of the storm and the evacuation process Including where emergency shelters are located and where to go to get out of the city FEMA’s preparations for the storm examined Live interview with Red Cross director Mention of President’s efforts (regarding warnings) and whereabouts Specific updates of areas of New Orleans, Mississippi and Florida that were hit Includes information for both New Orleans residents and nation-wide viewers Impact on US energy supply provided as well as reports of traffic delays along major interstates in Louisiana Animated weather maps and live video feed of damaged area
  • 28.
    Effective Reporting: TelevisionCNN Nightly News, August 29 th 2005 Focus on damage in different parishes (includes pictures and maps to show impact on city) Detailed analysis of damage and relief efforts through interview with Lieutenant Kevin Cowin from Louisiana office of Emergency and Preparedness and reporters Highlight good and bad aspects of government aid Emotional impact evident Facts running across the bottom on the screen throughout report 24-hour news coverage on crisis from 27 th and on http://www.youtube.com/watch?v=xpsdPm4JsU4&feature=related
  • 29.
    Effective Post KatrinaTimes-Picayune September 2005 Stories about evacuations and evacuees Levee Updates FEMA food distributors Energy source updates Resources available for victims Jobs, food stamps available for hurricane victims
  • 30.
    Effective Post KatrinaNew Orleans City Business September 2005 Reports on which businesses and schools are reopening Stories about rescues and hospital statuses Articles on communication: Verizon Wireless communications returning to normal in many areas of New Orleans
  • 31.
    Ineffective Coverage essentiallyends in November Mostly FEMA reports and Saints coverage Human interest pieces: N.O. couple finds their way to N.Y.C. 6:30 p.m Post 2005: Stories only about reminiscing Katrina
  • 32.
    WDSU Channel 6Headlines Sandra Bullock Honored By New Orleans School '90210' Actress Visits New Orleans Danny Glover Reveals The Katrina Tragedy In 'Trouble The Water' Celebrities--Effective?
  • 33.
    5 Years LaterSeptember 2010 (Fox 8 Live!): Lacombe woman sentenced in Katrina fraud case Feds have charged 1,360 with hurricane fraud Ex-cop sentenced in Katrina bridge shootings No stories about progress or reconstruction
  • 34.
    The Days After– National Ineffective/Effective Coverage CBS, NBC, ABC - reviewed coverage –images of people being carried out of Convention Center and being rescued; people stuck on highway ;heavy imagery, lots of emphasis on the human devastation News stories on problem of collecting dead bodies More imagery than news coverage NBC – images and issue of poverty and race, personal human feature stories – lots of children; gasoline –gas stations that ran out of gas and people left stranded Dwelling only on what happened, but not what’s being done FOX – state of emergency – slow response; support places to donate blood, people opening up homes, etc. Saying what they need, but not discussing the problems CNN – really good job, covered it all Initial Coverage – The Weather Channel
  • 35.
    One Month AfterStill more than one story on Katrina per nightly newscast – however they are more specific industry focused Rebuilding, but the few effects that aren’t always thought of such as high school students and sports teams that were displaced
  • 36.
    Newscasts Hurricane Katrina/ New Orleans / Music Evening News NBC 05:56:10 pm 02:30 Hurricanes Katrina, Rita / Recovery / New Orleans Evening News FOX 06:07:10 pm 02:50 Hurricane Katrina / The Aftermath / New Orleans Evening News CNN 09:07:40 pm 02:30 Hurricane Katrina / New Orleans / Housing Evening News ABC 00:03:30 am 02:40 Hurricane Katrina / New Orleans / The Return Evening News CBS 05:04:10 pm 02:40 Hurricane Katrina, Rita / Building Costs Evening News CBS 05:06:50 pm 02:00 Hurricane Katrina / Evacuees / "Katrina" Evening News CBS 05:26:00 pm 02:10 Hurricanes Katrina, Rita / Recovery Evening News FOX 06:06:10 pm 03:20 Hurricane Katrina / The Aftermath / New Orleans Evening News CNN 09:19:20 pm 01:00
  • 37.
    Today – 5years later Special Segments are aired talking about the rebuilding that’s been done, the areas that are still impoverished Talk about parades held, memorials…more noticed passing of events not really a hard news story anymore - CNN Special- Hurricane Katrina Talks about how they covered Katrina – look back on what happened