Agenda Item # 1
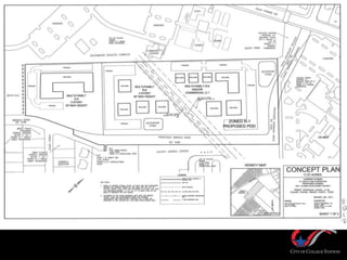
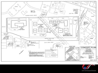
1401 Arnold Road
  PDD Rezoning
Draft Medical District Plan
Residential Area Uses
Using R-6 High Density Multi-Family dimensional standards, the
   following uses are permitted in the R-6 areas:

• Senior-Targeted Independent Living, Assisted Living, and
  Active-Adult Communities;
• Senior-Targeted Mixed-Income Multifamily Developments;
• Nursing Homes;
• Convalescent Homes;
• Extended Care Facilities;
• Skilled Nursing Facilities; and
• Memory Care Facilities
Non-Residential Area Uses
Using C-1 General Commercial dimensional standards, the
   following uses are permitted in the C-1 area:

•   Hospital;
•   Offices;
•   Medical Retail;
•   Medical Clinics;
•   Memory Care Facilities; and
•   Stand-Alone retail and restaurant uses shall not be permitted
    unless they serve as an accessory use to another primary
    use.
Other Items of Note
• Building height is more restrictive going westward;

• Normand Drive and Arnold Road (minor collectors) will
  be constructed with the first phase of development;

• Parks & Recreation Advisory Board recommended
  approval of fee-in-lieu credit for Community Park
  Development Fees for construction of multi-use path on
  park property; and

• Minimum six-foot pedestrian path constructed along
  electrical easement through the center of
  development.
Meritorious Modifications
• Section 7.2.I, Table “Minimum Off-Street Parking
  Requirements”
   – Reduce off-street parking requirements:
      • Multi-family from 1.5 spaces per bedroom to 1.15 spaces per bedroom
      • Reduce the ratio (spaces per gross sq ft) for:
           – Medical and Dental Clinic uses from 1:200 to 1:280; and
           – Office, Personal Service Shop, Retail Sales & Service use from
             1:250 to 1:350


• Section 8.2 “Subdivision Design and Improvements”
   – Allow the Concept Plan as proposed to meet all block length,
     block perimeter, and Access Way requirements.
Rezoning 1401 Arnold Rd.

Rezoning 1401 Arnold Rd.

  • 1.
    Agenda Item #1 1401 Arnold Road PDD Rezoning
  • 4.
  • 7.
    Residential Area Uses UsingR-6 High Density Multi-Family dimensional standards, the following uses are permitted in the R-6 areas: • Senior-Targeted Independent Living, Assisted Living, and Active-Adult Communities; • Senior-Targeted Mixed-Income Multifamily Developments; • Nursing Homes; • Convalescent Homes; • Extended Care Facilities; • Skilled Nursing Facilities; and • Memory Care Facilities
  • 8.
    Non-Residential Area Uses UsingC-1 General Commercial dimensional standards, the following uses are permitted in the C-1 area: • Hospital; • Offices; • Medical Retail; • Medical Clinics; • Memory Care Facilities; and • Stand-Alone retail and restaurant uses shall not be permitted unless they serve as an accessory use to another primary use.
  • 9.
    Other Items ofNote • Building height is more restrictive going westward; • Normand Drive and Arnold Road (minor collectors) will be constructed with the first phase of development; • Parks & Recreation Advisory Board recommended approval of fee-in-lieu credit for Community Park Development Fees for construction of multi-use path on park property; and • Minimum six-foot pedestrian path constructed along electrical easement through the center of development.
  • 10.
    Meritorious Modifications • Section7.2.I, Table “Minimum Off-Street Parking Requirements” – Reduce off-street parking requirements: • Multi-family from 1.5 spaces per bedroom to 1.15 spaces per bedroom • Reduce the ratio (spaces per gross sq ft) for: – Medical and Dental Clinic uses from 1:200 to 1:280; and – Office, Personal Service Shop, Retail Sales & Service use from 1:250 to 1:350 • Section 8.2 “Subdivision Design and Improvements” – Allow the Concept Plan as proposed to meet all block length, block perimeter, and Access Way requirements.